Kerketuin 70, Zwaag

Page 1


Huizen van Hoekstra enVan Eck

Fijne eengezinswoning

Ruime slaapkamers

Complete badkamer

Zonnige buitenruimte

Op goede locatie nabij voorzieningen

Kenmerken

Soort eengezinswoning

Type tussenwoning

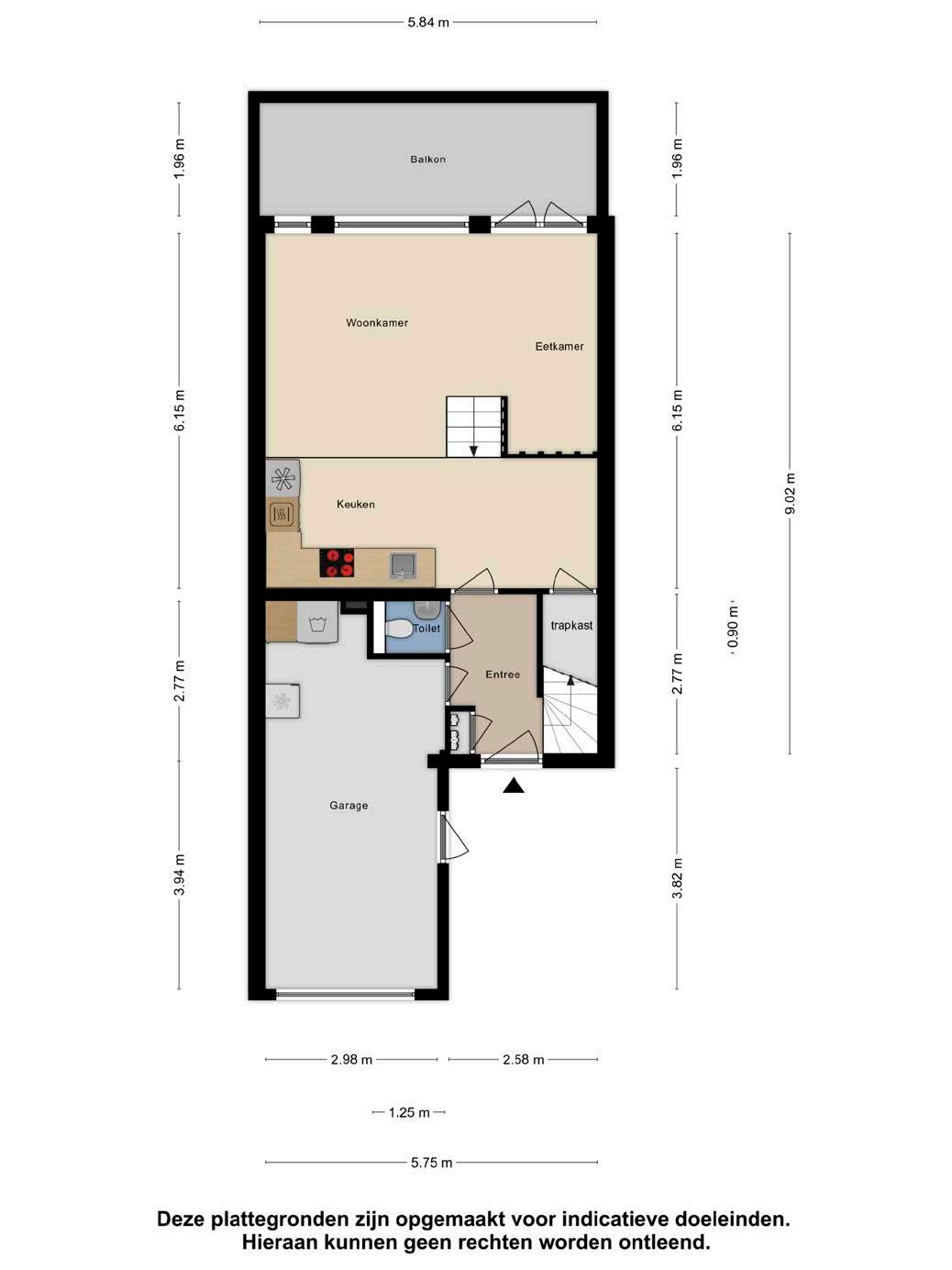
Kamers 3

Woonoppervlakte 108 m²

Perceeloppervlakte 81 m²

Inhoud 448 m³

Bouwjaar 1979

Tuin geen tuin

Garage inpandig

Verwarming c.v.-ketel

Isolatie dakisolatie, muurisolatie, dubbel glas

Energielabel C

De in deze brochure getoonde informatie wordt door Hoekstra & van Eck makelaardij met zorg samengesteld, doch voor de juistheid en volledigheid daarvan kan niet worden ingestaan en kunnen hieraan geen rechten worden ontleend. Spel- en typefouten voorbehouden. De plattegronden zijn geproduceerd voor promotionele doeleinden en ter indicatie. Er kunnen geen rechten aan worden ontleend. Maten zijn niet eigenhandig opgemeten. Indien er twijfel bestaat over de accuratie van de gegevens aangaande deze brochure, is de geïnteresseerde zelf verantwoordelijk voor het nameten van deze gegevens. Voor meer informatie wordt u doorverwezen naar www.hoekstraenvaneck.nl

Verkoper vertelt

Wat een heerlijke plek om de rust te vinden. Wel in de nieuwbouw, maar toch in verbinding met de natuur. Zodra je thuis komt doet de wereld voorbij de voordeur er weinig meer toe.

Zicht op het water, riet, de bomen en de gezellige eendjes in het water. Of het nu zomer of winter is, het water is echt de trekkracht van de woning. Ik zeg zelf vaak: “het is hier een beetje Center Parcs!”.

niveauverschil sfeervolle woonkamer

fijne lichtinval

De woonkamer van deze woning is echt een eyecatcher. Met zijn grote raampartijen en speelse indeling met niveauverschil, biedt deze ruimte een unieke woonervaring. Het niveauverschil creëert een natuurlijke scheiding tussen de keuken en woonkamer, waardoor de ruimte zowel gezellig als ruimtelijk aanvoelt. De grote ramen zorgen voor een overvloed aan natuurlijk licht en bieden een prachtig uitzicht op het aangrenzende zonneterras en het water. Dit is de perfecte plek om te ontspannen na een lange dag, een boek te lezen of te genieten van een filmavond met het gezin.

open keuken

diverse apparatuur

lekker kokkerellen

De luxe keuken, volledig uitgerust en modern, nodigt je uit om de lekkerste gerechten te bereiden. De grote raampartijen zorgen voor veel natuurlijk licht waardoor de ruimte altijd zonnig en vrolijk aanvoelt.

ruimte genoeg

slaap lekker complete badkamer

Op de eerste verdieping vind je een ruime overloop die toegang biedt tot een zeer ruime slaapkamer. Deze kamer is oorspronkelijk ontworpen als twee aparte slaapkamers, maar is nu samengevoegd tot een royale ruimte die alle comfort biedt die je nodig hebt. De badkamer op deze verdieping is modern en stijlvol ingericht, met hoogwaardige afwerkingen en alle gemakken die je van een luxe badkamer mag verwachten.

Via een vaste trap bereik je de tweede verdieping, waar je een voorzolder vindt die dienst kan doen als extra opslagruimte, speelruimte voor kinderen of zelfs een thuiskantoor. De derde slaapkamer op deze verdieping is ruim en biedt tal van mogelijkheden, afhankelijk van je behoeften. Of het nu een slaapkamer voor een tiener, een logeerkamer of een hobbyruimte wordt, de mogelijkheden zijn eindeloos.

genieten

fantastische ligging

Aangrenzend aan de woonkamer bevindt zich het zonneterras. Dit is zonder twijfel een van de meest betoverende plekken van de woning. Hier kun je in de zomer heerlijk vertoeven, genieten van een barbecue met vrienden of gewoon ontspannen met een glas wijn terwijl je uitkijkt over het rustige water. Het terras biedt voldoende ruimte voor een eettafel, loungehoek en zelfs een paar ligstoelen. Het uitzicht over het water zorgt voor een gevoel van rust en sereniteit, waardoor dit de ideale plek is om te ontsnappen aan de drukte van het dagelijks leven.

noorden kadastrale kaart

heerlijk wonen in Zwaag

Zwaag

Zwaag is een dorp in de gemeente Hoorn, in de regio WestFriesland, in de provincie Noord-Holland. Het dorp werd gesticht rond de 13e eeuw na Christus. Sinds 1 januari 1979 maakt het deel uit van de gemeente Hoorn.

Van oorsprong was Zwaag een lintdorp met enkele zijpaden zoals de Balkweit, het Laantje (nu Krijterslaan) en het Unjerpad. Langzaam aan is het dorp op zo’n manier uitgebreid dat de oude structuur eigenlijk volledig verdwenen is, behalve dat deze op veel plaatsen nog aan oudere gebouwen is te herkennen; de Dorpsstraat toont hier en daar nog de karakteristieke lintbebouwing met bruggetjes over de sloot naar de boerderijen en woningen. Op nummer 5 staat een karakteristieke tuinderswoning die tot monument is verklaard.

Elk jaar wordt er in Zwaag carnaval gevierd. Tijdens het carnaval vindt er in Zwaag een carnavalsoptocht plaats waarbij de bewoners in een lange stoet een vaste route door het dorp afleggen, met praalwagens die soms allerlei politieke betekenissen hebben. Dit evenement dat telkens meer dan 50.000 bezoekers trekt wordt door Carnavalsvereniging het Masker georganiseerd. Tevens vindt er tweemaal in de vijf jaar een muzikaal evenement plaats: het Beiers Festival.

HEERHUGOWAARD

ALKMAAR LANDSMEER HOORN

HOOFDDORP HAARLEM (2x)

LEIDEN

Lokaal makelaarschap

Wij geloven sterk in lokaal makelaarschap. Kennis van de buurt, de omgeving en de daarbij behorende ontwikkeling van de huizenprijzen zijn onmisbaar om voor jou het maximale resultaat te boeken.

Met Hoekstra & van Eck kies je voor:

• makelaars die al jarenlang verbonden zijn met de regio

• kennis van de lokale woningmarkt

• een verkoopplan afgestemd op jouw woning

• maximale exposure van je huis

• bezichtigingen ook in het weekend

• netwerk met honderden woningzoekers

Verkoop je je huis met Hoekstra & van Eck dan ben je met de eigen app 24/7 op de hoogte van het verkoopproces. Bezichtigingsverzoeken bereiken je direct en beantwoord je snel en discreet op het moment dat het jou uitkomt.

Ook je huis verkopen? Onze makelaars komen graag en vrijblijvend bij je langs. We maken dan direct een gratis waardebepaling. Hoekstra & van Eck werkt op basis van no cure no pay. En betalen doe je pas bij verkoop.

Veemarkt 28 0229 - 27 27 12 hoorn@hoekstraenvaneck.nl www.hoekstraenvaneck.nl

PURMEREND ZAANDAM

A’DAM WEST

MONNICKENDAM

A’DAM NOORD

AMSTERDAM

ALMERE AMSTELVEEN

BUSSUM

HILVERSUM

MAARSSEN

VLEUTEN DE MEERN UTRECHT

AMERSFOORT

(2x) (2x)

NIEUWEGEIN WIJK BIJ DUURSTEDE

MEPPEL

ZWOLLE

APELDOORN

ARNHEM

(2x)

NIJMEGEN

‘S-HERTOGENBOSCH

BREDA

TILBURG

EINDHOVEN

WEERT

ROERMOND

WhatsApp de foto’s en het adres van je woning naar 06 13 18 43 41 en ontvang een gratis waardebepaling!

Turn static files into dynamic content formats.

Create a flipbook
Issuu converts static files into: digital portfolios, online yearbooks, online catalogs, digital photo albums and more. Sign up and create your flipbook.