1e Nieuwstraat 26, Hilversum

Page 1

Huizen van Hoekstra en Van Eck

Starterswoning

Karakteristieke

woning

Gewilde buurt

Nabij het centrum

Twee-onder-een-kapwoning

1e Nieuwstraat 26 , 1211 JR Hilversum
H42

Soort Type Kamers

Woonoppervlakte

Perceeloppervlakte

Inhoud

Bouwjaar

Tuin

Garage

Verwarming Isolatie

Kenmerken

eengezinswoning

2-onder-1-kapwoning

2

60 m²

77 m²

235 m³

1900

achtertuin, voortuin geen garage c.v.-ketel dakisolatie, muurisolatie, gedeeltelijk dubbel glas

De in deze brochure getoonde informatie wordt door Schuitema Hoekstra en Van Eck makelaardij met zorg samengesteld, doch voor de juistheid en volledigheid daarvan kan niet worden ingestaan en kunnen hieraan geen rechten worden ontleend. Spel- en typefouten voorbehouden. De plattegronden zijn geproduceerd voor promotionele doeleinden en ter indicatie. Er kunnen geen rechten aan worden ontleend. Maten zijn niet eigenhandig opgemeten. Indien er twijfel bestaat over de accuratie van de gegevens aangaande deze brochure, is de geïnteresseerde zelf verantwoordelijk voor het nameten van deze gegevens. Voor meer informatie wordt u doorverwezen naar www.schuitemahoekstraenvaneck.nl

Verkoper vertelt

Wat deze sfeervolle charmante woning zo fantastisch maakt, zijn o.a.de karakteristieke en authentieke stijl kenmerken/elementen, zoals de oud Franse boeren plavuizen, zowel in keuken als entree. Verder is dit charmante huis, voorzien van mooie hardstenen drempels en mooie massief grenen brede houten vloerdelen, dit geheel samen met authentieke kamer en-suite schuifdeuren en hoge plafonds, maakt deze woning zo charmant. En dan hebben we het nog niet eens over de locatie!

De locatie is fantastisch! Zeer centraal gelegen in het mooie oude gedeelte van Hilversum. Het is een hele fijne en rustige straat en buurt, waar kinderen nog op straat kunnen spelen en men elkaar kent. Buren lopen absoluut niet de vloer plat bij elkaar, maar als er iets is kunnen we altijd bij elkaar terecht.

Enerzijds loop je zo het centrum met CS in, anderzijds ben je met een paar minuten op de bruisende Gijsbrecht! Ook zijn er veel leuke restaurants, winkels en terrasjes in de nabije omgeving, alles is op

loopafstand! Natuur is er volop te vinden in nabije omgeving, 5 min. naar unieke stadspark De Oude haven, 10 min. naar hei en bos, en 10 auto of 15 fiets min. naar de Loosdrechtse plassen voor vaar/zwem plezier in drukte of rust.

Het huis heeft een zonnige patio, eigen achterom en biedt mogelijkheid om een extra kamer te realiseren zonder uitbouwen.

Een parkeervergunning is makkelijk te krijgen.

Dit alles in het centraal gelegen Hilversum, nabij alle uitvalswegen, 20 min. van A’dam, 15 min. van Utrecht.

HOEKSTRA EN VAN ECK VERZEKERINGEN MAKELAARS HYPOTHEKEN Te koop bij
Hilversum: Vaartweg 66, T 035-6240651

Fijne lichtinval

fraaie afwerking

hoe deel jij het in?

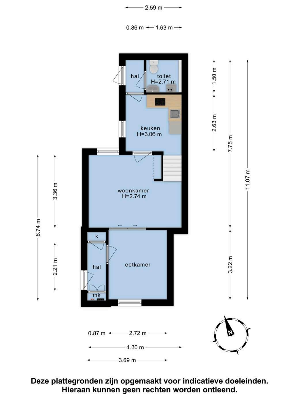
De eetkamer is aangenaam licht waardoor dit een ideale ruimte is om gezellig met vrienden en familie te dineren. Via de authentieke schuifdeuren kom je vervolgens in de woonkamer waar je de ruimte hebt om een comfortabele zithoek te creëren. Beide ruimtes zijn voorzien van een fraaie grenen houten vloer. Je kunt deze ruimtes dus van elkaar afsluiten, maar wanneer de schuifdeuren geopend zijn zal de grens tussen de woon-en eetkamer vervagen.

huizen van schuitema hoekstra en van eck

Complete keuken

eet smakelijk aan tafel

Vanuit de keuken is er toegang tot de kelder. De keuken is een perfect blanco canvas om jouw stempel op te drukken. De keuken is reeds voorzien van een vaatwasser, hete lucht oven en koelkast (alle uit 2021) en de keuken is recent voorzien van nieuwe frontjes.

De CV-ketel (2021) en wasapparatuur zijn in de bijkeuken gesitueerd. Aan de achterzijde van de woning tref je tevens het separate toilet met fonteintje.

huizen van schuitema hoekstra en van eck

Ruime slaapkamer

welterusten

aangenaam licht

Op de eerste verdieping vind je een grote slaapkamer met een dakraam en zijraam. Voorheen waren er twee slaapkamers gesitueerd op de eerste verdieping.

We hebben een tweetal plattegronden aan de foto´s toegevoegd met met mogelijke indelingen. Door de opzet en grootte van de eerste verdieping zijn er nog veel meer varianten denkbaar.

Nu, laten we het hebben over de verbeteringen die deze woning heeft ondergaan. In 2022 kreeg het een nieuw plat dak en in 2023 werd niet alleen het pannendak vernieuwd, maar ook geïsoleerd! Daarnaast zijn de kozijnen in 2023 geschilderd en heeft de bovenverdieping isolerende beglazing.

huizen van schuitema hoekstra en van eck

Functionele badkamer

opfrissen

was de dag van je af

Op de eerste verdieping vind je een slaapkamer met een groot dakraam en zijraam. De badkamer, beschikt over een wastafel, toilet en douche. De afwerking hier is eenvoudig, maar het biedt jou de kans om deze ruimte helemaal naar jouw smaak te maken.

huizen van schuitema hoekstra en van eck

Heerlijke patiotuin

genieten ga lekker zitten

Buiten is er een zonnige patiotuin op het noordoosten. Simpel in onderhoud met grind, zodat je kunt genieten van de zon zonder gedoe. In de tuin is het rustig en er is ook een achterom!

huizen van schuitema hoekstra en van eck
1e Nieuwstraat 26 1211 JR Hilversum
1e Nieuwstraat 26 1211 JR Hilversum

noorden kadastrale kaart

Hilversum heerlijk

Hilversum heeft het allemaal! In Hilversum vind je de perfecte combinatie van een hoog voorzieningenniveau met diverse winkels, gezellige restaurants, hippe koffietentjes en een ruim aanbod aan (internationale) scholen, sportclubs, theater & een bioscoop. Je kan prachtige wandel- en fietstochten maken door de bossen en de Hilversumse Heide. Liever watersporten? De Loosdrechtse Plassen liggen om de hoek. Met de auto of openbaar vervoer (NS station) ben je snel in Amsterdam, Utrecht en op Schiphol. Die combinatie van een centrale ligging, stad & natuur maakt Hilversum zo uniek. Wij begrijpen dus heel goed dat Hilversum zo populair is!

wonen
in Hilversum

Lokaal makelaarschap

Wij geloven sterk in lokaal makelaarschap. Kennis van de buurt, de omgeving en de daarbij behorende ontwikkeling van de huizenprijzen zijn onmisbaar om voor jou het maximale resultaat te boeken.

Met Schuitema Hoekstra en Van Eck kies je voor:

• makelaars die al jarenlang verbonden zijn met de regio

• kennis van de lokale woningmarkt

• een verkoopplan afgestemd op jouw woning

• maximale exposure van je huis

• bezichtigingen ook in het weekend

• netwerk met honderden woningzoekers

Verkoop je je huis met Schuitema Hoekstra en Van Eck dan ben je met de eigen app 24/7 op de hoogte van het verkoopproces. Bezichtigingsverzoeken bereiken je direct en beantwoord je snel en discreet op het moment dat het jou uitkomt.

Ook je huis verkopen? Onze makelaars komen graag en vrijblijvend bij je langs. We maken dan direct een gratis waardebepaling. Schuitema Hoekstra en Van Eck werkt op basis van no cure no pay. En betalen doe je pas bij verkoop.

Vaartweg 66

035-6240651

hilversum@schuitemahoekstraenvaneck.nl www.schuitemahoekstraenvaneck.nl

TILBURG REESHOF BREDA ‘S-HERTOGENBOSCH TILBURG WEERT ROERMOND NIJMEGEN ARNHEM APELDOORN BUSSUM MEPPEL ALMERE AMSTELVEEN AMSTERDAM A’DAM NOORD MONNICKENDAM PURMEREND ZAANDAM ALKMAAR LANDSMEER HOORN HEERHUGOWAARD A’DAM WEST HOOFDDORP HAARLEM (2x) (2x) AMERSFOORT LEIDEN HILVERSUM EINDHOVEN (2x) (2x) ZWOLLE NIEUWEGEIN WIJK BIJ DUURSTEDE VLEUTEN DE MEERN UTRECHT MAARSSEN onze makelaarskantoren huizen van schuitema hoekstra en van eck

ALLES IN HUIS VOOR JOUW IDEALE THUIS

SUPERSNEL EEN WAARDEBEPALING?

Binnen 2 minuten weten wat jouw huis vandaag waard is? Dat kan in 3 simpele stappen! >>>

IEDERE DAG STAAT ‘HET VERSCHIL MAKEN’ CENTRAAL. SCHUITEMA HOEKSTRA EN VAN ECK MAKELAARS BIEDT KWALITEIT EN EEN PERSOONLIJKE AANPAK. WE ONTZORGEN JOU VAN A TOT Z BIJ DE AAN- OF VERKOOP VAN EEN HUIS, WAAR JE VOORAL IN DE HUIDIGE WONINGMARKT DE VOORDELEN VAN ERVAART. MET ALLE EXPERTISES ONDER ÉÉN DAK, KUNNEN WE ALTIJD SNEL SCHAKELEN.

GROOTSTE NVM WONINGMAKELAAR VAN NEDERLAND

Schuitema Hoekstra en Van Eck maakt onderdeel uit van de Vivantus groep. Met 35 vestigingen en meer dan 100.000 verkochte huizen, zijn wij de grootste NVM woningmakelaardij van het land.

Ben je op zoek naar een nieuw huis of wil je juist je huis verkopen om ergens anders je droom te laten uitkomen? Bel ons voor een afspraak, wij komen graag vrijblijvend bij je langs.

Bel 035-6240651 of mail naar hilversum@schuitemahoekstraenvaneck.nl

SCHUITEMAHOEKSTRAENVANECK.NL

HOEKSTRA EN VAN ECK VERZEKERINGEN MAKELAARS HYPOTHEKEN

Turn static files into dynamic content formats.

Create a flipbook
Issuu converts static files into: digital portfolios, online yearbooks, online catalogs, digital photo albums and more. Sign up and create your flipbook.