Badlaan 14, Amstelveen

Page 1

Wonen in Amstelveen

Badlaan 14, Amstelveen

Kenmerken

Bouwvorm bestaande bouw

Type vrijstaande woning

Ligging aan rustige weg, in centrum

Woonoppervlakte 158 m²

Perceeloppervlakte 245 m²

Inhoud 622 m³

Bouwjaar 2002

Slaapkamers 4

Tuin achtertuin, voortuin, zijtuin

Ligging tuin zuid

Garage vrijstaand hout, parkeerplaats

Verwarming c.v.-ketel, open haard

DeindezebrochuregetoondeinformatiewordtdoorBrockhoffMakelaars zorgvuldigsamengesteld,dochvoordejuistheidenvolledigheiddaarvankan nietwordeningestaanenkunnenhieraangeenrechtenwordenontleend.Spelentypefoutenvoorbehouden.Deplattegrondenzijngeproduceerdvoor promotiedoeleindenenterindicatie.Erkunnengeenrechtenaanworden ontleend.Matenzijnnieteigenhandigopgemeten.Indienertwijfelbestaatover deaccuratievandegegevensaangaandedezebrochureisdegeïnteresseerde zelfverantwoordelijkvoorhetnametenvandezegegevens.Hetkoopcontract wordtgemaaktdoordenotaris,gevestigdinAmsterdam,Amstelveen,Diemen, Uithoorn,Badhoevedorp,Mijdrecht,Abcoude,Aalsmeer.Hetkoopcontractdat gebruiktwordtishetmodelRingAmsterdam.Dekeuzevanhetnotariskantooris aandekoper,tenzijandersaangegevenindezebrochure.Koperdientbinnen tweewerkdagennahetbereikenvandemondelingeovereenstemminginzake dekoopsomendevoorwaardeneennotarisaantewijzen.Indienkoperbinnen dezeperiodegeennotarisheeftaangewezenheeftverkoperhetrechtdezeaan te wijzen. Voor meer informatie wordt u doorverwezen naar www.brockhoff.nl

Characteristics

Asking price: € 1.395.000,- k.k.

Construction form: existing construction

Type: detached house

Location: quiet road, in the centre

Living area: 158 m²

Plot area: 245 m²

Content: 622 m³

Construction year: 2002

Bedrooms: 4

Garden: back yard facing south

Te koop bij: Amstelveen, Keizer Karelweg 223, T 020 5437373

Kom binnen!

Entree / Entrance

Via de fraaie entreedeur gaat u de woning binnen

You enter the house through the beautiful entrance door.

Woonkamer Living

In de hal met diagonale tegelvloer is het toilet en de toegang naar de woonkamer. De woonkamer is voorzien van een open haard met zandstenen schouw. Aan de achterzijde van de woonkamer kunt u via de dubbele openslaande deuren naar het overdekte terras en de tuin.

In the hall with diagonal tiled floor is the toilet and access to the living room. The living room has a fireplace with sandstone fireplace. At the rear of the living room you can go through the double doors to the covered terrace and garden.

Ontspannen

Keuken Kitchen

Eveneens aan de achterzijde van de woning is de keuken met een groot gasfornuis, afzuigkap en vaatwasmachine. Direct vanuit de keuken kunt u naar de heerlijke provisie/- wijnkelder Naast de woning is de ruime garage, welke ook geschikt is als hobbyruimte.

Also at the rear of the house is the kitchen with a large gas stove, extractor hood and dishwasher. Directly from the kitchen you can go to the delicious provision / wine cellar

Next to the house is the spacious garage, which is also suitable as a hobby room.

Bovenverdieping

Upper floor

1e verdieping; overloop. 1 slaapkamer is gelegen aan de achterzijde. De badkamer is uitgerust met een ligbad, aparte douche, wastafelmeubel en toilet.

2e verdieping; enorme slaapkamer, waarbij de hoogte van de kap in zicht is gebleven.

1st floor; overflow. 1 bedroom is located at the rear. The bathroom is equipped with a bath, separate shower, washbasin and toilet.

2nd floor; huge bedroom, where the height of the hood has remained in sight.

Sleep well

Praktisch ingedeeld

Tuin Garden

Een heerlijke tuin waar u optimaal kunt genieten van het buitenleven.

A lovely garden where you can fully enjoy the outdoors.

Zonnig

VOLLEDIGE VERKOOPTEKST

InhetbruisendeOudeDorpvanAmstelveen gelegenVRIJSTAANDHERENHUISmetgarageen (wijn)kelder.Hetwoonhuisisin2002gebouwdonder vooroorlogsearchitectuurmeteigentijdsematerialen enkwaliteiten.Oploopafstandbevindenzichhet "AmsterdamseBos",gezelligerestaurantsenwinkels vanhetOudeDorpenhetStadshart.Tevensisde liggingzeergunstigtenopzichtevande uitvalswegennaarAmsterdam,Schiphol,DenHaag en Utrecht.

HetOudeDorpissindsenigetijdautoluwgemaakt endatheefthetgebiednogmeertoteen fantastische locatie gemaakt.

Indeling;

Beganegrond;Viadefraaieentreedeurgaatude woningbinnen.Indehalmetdiagonaletegelvloeris hettoiletendetoegangnaardewoonkamer.De woonkamerisvoorzienvaneenopenhaardmet zandstenenschouw.Aandeachterzijdevande woonkamerkuntuviadedubbeleopenslaande deurennaarhetoverdekteterrasendetuin. Eveneensaandeachterzijdevandewoningisde keukenmeteengrootgasfornuis,afzuigkapen vaatwasmachine.Directvanuitdekeukenkuntu naar de heerlijke provisie/- wijnkelder

Naastdewoningisderuimegarage,welkeook geschikt is als hobbyruimte.

1everdieping;overloop.1slaapkamerisgelegen aandeachterzijdeenbeschiktovereen inloopgarderobeentoegangnaarhetbalkon(op hetzuiden).De2overigeslaapkamerszijngelegen aandevoorzijde,waarvan1slaapkamernuin gebruikisalswaskamer.Debadkamerisuitgerust meteenligbad,apartedouche,wastafelmeubelen toilet.

2everdieping;enormeslaapkamer,waarbijde hoogtevandekapinzichtisgebleven.Indeze kamerzijndiversevastekastengeïnstalleerd. Daarnaastisernogeenafzonderlijkeruimtevoorde c.v., alsmede een toiletruimte.

Bijzonderheden;

-Woonoppervlakteca.158m2exclusiefdekelder van 16 m²

- Bouwjaar 2002

- Alle verdiepingen met een fraaie eikenhouten vloer

- Aparte garage met vliering en oprit voor 2 auto's

- Volledig geïsoleerd tijdens de bouw

-FantastischeliggingmiddeninhetOudeDorpvan

HUIZEN VAN BROCKHOFF

ENGLISH INFORMATION

DETACHEDTOWNHOUSEwithgarageand(wine) cellarlocatedinthebustlingOldVillageof Amstelveen.Thehousewasbuiltin2002underprewararchitecturewithcontemporarymaterialsand qualities.Withinwalkingdistancearethe "AmsterdamseBos",cozyrestaurantsandshopsof theOudeDorpandtheStadshart.Thelocationis alsoveryfavorableinrelationtotheroadsto Amsterdam, Schiphol, The Hague and Utrecht.

TheOudeDorphasbeenmadecar-freeforsome time,whichhasmadetheareaevenmoreofa fantastic location.

Layout;

Groundfloor;Youenterthehousethroughthe beautifulentrancedoor.Inthehallwithdiagonal tiledflooristhetoiletandaccesstothelivingroom. Thelivingroomhasafireplacewithsandstone fireplace.Attherearofthelivingroomyoucango throughthedoubledoorstothecoveredterrace and garden.

Alsoattherearofthehouseisthekitchenwitha largegasstove,extractorhoodanddishwasher. Directlyfromthekitchenyoucangotothedelicious provision / wine cellar

Nexttothehouseisthespaciousgarage,whichis also suitable as a hobby room.

1stfloor;overflow.1bedroomislocatedattherear andhasawalk-inwardrobeandaccesstothe balcony(facingsouth).The2otherbedroomsare locatedatthefront,ofwhich1bedroomisnowused asalaundryroom.Thebathroomisequippedwitha bath, separate shower, washbasin and toilet.

2ndfloor;hugebedroom,wheretheheightofthe hoodhasremainedinsight.Severalfixedcupboards havebeeninstalledinthisroom.Thereisalsoa separateroomforthecentralheatingsystem,aswell as a toilet room.

Particularities;

-Livingareaapprox.158m2excludingthebasement of 16 m²

- Year of construction 2002

- All floors with a beautiful oak floor

- Separate garage with loft and driveway for 2 cars

- Fully insulated during construction

-FantasticlocationinthemiddleoftheOldVillageof Amstelveen

BADLAAN 14 Begane grond HUIZEN VAN BROCKHOFF
PLATTEGRONDEN
1e verdieping
PLATTEGRONDEN BADLAAN 14 2e verdieping HUIZEN VAN BROCKHOFF
Kelder

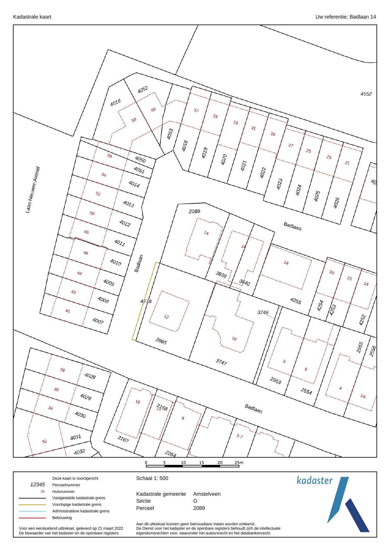
KADASTRALE KAART

BADLAAN 14 HUIZEN VAN BROCKHOFF

WONEN IN AMSTELVEEN

Amstelveen is een stad met bijna 90.000 inwoners. Tot 1964 heette de gemeente Nieuwer-Amstel en is sindsdien uitgegroeid tot de stad die het nu is. Oorspronkelijk was het gebied van Nieuwer-Amstel veel groter en liep de grens van de gemeente ten zuiden van de Singelgracht en de huidige Amsterdamse Ceintuurbaan. Rond 1900 annexeerde Amsterdam deze dichtbevolkte gebieden en werd Nieuwer-Amstel gereduceerd tot het Oude Dorp van Amstelveen en een groot landelijk gebied.

Door de jaren heen is dat gebied uitgegroeid tot het Amstelveen, zoals wij dat nu kennen.

Amstelveen is een heerlijke woonstad met veel winkelvoorzieningen, cultuur en groen. Amsterdam en Schiphol liggen vlakbij, maar toch kent het kindvriendelijke wijken en een gezellige sfeer. Om die redenen is de stad al heel wat keren verkozen in de top 3 van meest aantrekkelijke Nederlandse steden om in te wonen.

KIES OOK VOOR DE MAKELAAR VAN AMSTELVEEN EN OMSTREKEN

SUPERSNEL EEN WAARDEBEPALING?

Bel naar 020 543 73 73 of kom even langs en we maken een gratis waardebepaling of vrijblijvende afspraak.

MAANDELIJKS KOPEN EN VERKOPEN WE BIJ

BROCKHOFF MAKELAARS IN AMSTELVEEN

GEMIDDELD ZO’N 83 HUIZEN. VOOR ONS

VOELT DAT ALSOF WE ELKE MAAND WEER 83

DROMEN IN VERVULLING MOGEN LATEN GAAN

EN DAT DOEN WE MAAR WAT GRAAG

GROOTSTE NVM WONINGMAKELAAR VAN NEDERLAND

Brockhoff Makelaars maakt onderdeel uit van Vivantus. Met 35 vestigingen en meer dan 100.000 huizen verkocht, zijn wij de grootste NVM woningmakelaardij van het land.

Ben je op zoek naar een nieuw huis of wil je juist je huis verkopen om ergens anders je droom te laten uitkomen? Bel ons voor een afspraak, wij komen graag vrijblijvend bij je langs.

BEL 020 - 543 73 73 OF MAIL NAAR AMSTELVEEN@BROCKHOFF.NL

BROCKHOFF.NL

Turn static files into dynamic content formats.

Create a flipbook
Issuu converts static files into: digital portfolios, online yearbooks, online catalogs, digital photo albums and more. Sign up and create your flipbook.