Nul op de meter

![]()

Soort villa
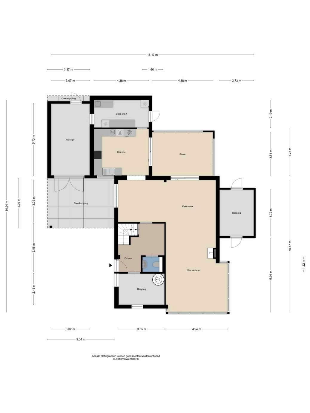
Type vrijstaande woning Kamers 8
Woonoppervlakte 268 m²
Perceeloppervlakte 453 m²
Inhoud 1083 m³
Bouwjaar 1958
Tuin achtertuin, voortuin, zijtuin
Garage aangebouwd steen, garage met carport
Verwarming pelletkachel
Isolatie volledig geïsoleerd
Energielabel A

De in deze brochure getoonde informatie wordt door Petra De Kleermaeker Makelaardij met zorg samengesteld, doch voor de juistheid en volledigheid daarvan kan niet worden ingestaan en kunnen hieraan geen rechten worden ontleend. Spel- en typefouten voorbehouden. De plattegronden zijn geproduceerd voor promotionele doeleinden en ter indicatie. Er kunnen geen rechten aan worden ontleend. Maten zijn niet eigenhandig opgemeten. Indien er twijfel bestaat over de accuratie van de gegevens aangaande deze brochure, is de geïnteresseerde zelf verantwoordelijk voor het nameten van deze gegevens. Voor meer informatie wordt u doorverwezen naar www.petradekleermaeker.nl
Beste toekomstige bewoners van ons mooie grote huis.,
Wij hebben hier altijd met veel plezier gewoond. Vrij uitzicht aan de voorkant. Hele lieve buren die altijd een praatje maken en de plantjes verzorgen in de tuin. Het huis is groot genoeg om een bedrijf aan huis te beginnen, met een groot gezin te wonen of met je ouders als mantelzorger.
Wij hebben alles aangepakt waardoor er geen gas meer is en je nul op de meter hebt, mede dankzij onder andere de 30 zonnepanelen. Dit zorgt voor een energielabel A. Daarnaast is er een nieuwe badkamer, keuken en bijkeuken gerealiseerd en nog wat meer. Verder hebben wij altijd heerlijk genoten van de mooie zwemspa in de tuin waar het echt geweldig vertoeven is. Zwemmen tegen de stroming of ontspannen in de jacuzzi en dan lekker chillen in de zon.
Qua locatie hebben wij niks te klagen gehad, het centrum van Huissen is op fietsafstand, scholen zijn ook dichtbij en ook fijn een aantal speeltuintjes op loopafstand. Er worden regelmatig leuke dingen georganiseerd in Huissen, het is echt een levendige stad!



woonkamer
royaal
Aan de voorzijde bevindt zich het zitgedeelte, terwijl je aan de achterzijde dineert met uitzicht op de tuin.

Inbouwapparatuur aanwezig
keuken
recent vernieuwd
Aansluitend bevindt zich de praktische bijkeuken met extra keukenblok.




In de serre kun je heerlijk loungen of dineren. tuin onderhoudsarm




slaapkamers
4 aanwezig
De kamers zijn stuk voor stuk licht en veelzijdig in te richten.





heerlijk wonen in Huissen
Welkom in de gemeente Lingewaard: Huissen is de grootste plaats in de gemeente Lingewaard en ligt aan de groene uiterwaarden van de Neder-Rijn. Gemeente Lingewaard kent zeven plaatsen gelegen langs het Pannerdensch Kanaal en de rivieren Waal en Rijn met als verbinding de overal aanwezige dijk met een prachtig vergezicht.
Het oude stadscentrum van Huissen, genaamd Huissenstad is erg gezellig en sfeervol. Het oude centrum wordt gekenmerkt door winkelstraten en horeca. Huissen staat bekend om de vele tradities en evenementen zoals het Koningschieten, het Paasvuur, de Huissense dag en ga zo nog maar even door. Op de eerste dag van de internationaal bekende Nijmeegse wandelvierdaagse gaat een deel van de 50 kilometerroute door Huissen. Ook festiviteiten als het Vleiskeuren, de jaarlijkse kermis, de fietsvierdaagse en het carnaval worden in Huissen groots gevierd. In Huissen is er verder veel bedrijvigheid in de tuinbouw met om de hoek een bloemen- en plantenveiling.
In de wijk de Zilverkamp ligt het overdekte winkelcentrum De Brink. Huissen kent een bloeiend verenigingsleven en diverse sport- en recreatiegelegenheden, zoals scouting, tennisbanen, een sporthal en een overdekt zwembad. Ook zijn er diverse scholen in Huissen te vinden.
Huissen ligt tussen de grote steden Nijmegen en Arnhem, via het openbaar vervoer goed bereikbaar per bus. De Huissense wijk Holthuizerdreef grenst aan het Arnhemse recreatiepark Immerloo en ligt op steenworp afstand van zowel het Gelredome, als het overdekte winkelcentrum Kronenburg in Arnhem.



HEERHUGOWAARD
ALKMAAR LANDSMEER
Wij geloven sterk in lokaal makelaarschap. Kennis van de buurt, de omgeving en de daarbij behorende ontwikkeling van de huizenprijzen zijn onmisbaar om voor jou het maximale resultaat te boeken.
Met Petra De Kleermaeker Makelaardij kies je voor:
• makelaars die al jarenlang verbonden zijn met de regio
• kennis van de lokale woningmarkt
• een verkoopplan afgestemd op jouw woning
• maximale exposure van je huis
• bezichtigingen ook in het weekend
• netwerk met honderden woningzoekers
Verkoop je je huis met Petra De Kleermaeker Makelaardij dan ben je met de eigen app 24/7 op de hoogte van het verkoopproces. Bezichtigingsverzoeken bereiken je direct en beantwoord je snel en discreet op het moment dat het jou uitkomt.
Ook je huis verkopen? Onze makelaars komen graag en vrijblijvend bij je langs. We maken dan direct een gratis waardebepaling. Petra de Kleermaeker Makelaardij werkt op basis van no cure no pay. En betalen doe je pas bij verkoop.
Beethovenlaan 62 026-3519200 info@petradekleermaeker.nl www.petradekleermaeker.nl
HOORN
PURMEREND ZAANDAM
A’DAM WEST
HOOFDDORP HAARLEM
MONNICKENDAM
A’DAM NOORD
AMSTERDAM
ALMERE AMSTELVEEN
BUSSUM
MAARSSEN
UTRECHT
VLEUTEN DE MEERN
NIEUWEGEIN WIJK BIJ DUURSTEDE
MEPPEL
APELDOORN
ARNHEM
NIJMEGEN

Supersnel een waardebepaling?
Binnen 2 minuten weten wat uw huis vandaag waard is? Dat kan in 3 simpele stappen! >>>
Iedere dag staat ‘het verschil maken’ centraal. Petra De Kleermaeker Makelaardij biedt kwaliteit en een persoonlijke aanpak. We ontzorgen u van A tot Z bij de aan- of verkoop van een huis, waar u vooral in de huidige woningmarkt de voordelen van ervaart. Met alle expertises onder één dak, kunnen we altijd snel schakelen.
Grootste NVM woningmakelaar van Nederland
Petra De Kleermaeker Makelaardij maakt onderdeel uit van Vivantus. Met 37 vestigingen en meer dan 100.000 verkochte huizen, zijn wij de grootste NVM woningmakelaardij van het land.
Bent u op zoek naar een nieuw huis of wilt u juist uw huis verkopen om ergens anders de droom te laten uitkomen?
Bel ons voor een afspraak, wij komen graag vrijblijvend bij u langs.
BEL 026 - 351 9200 OF MAIL NAAR INFO@PETRADEKLEERMAEKER.NL