Vossendijk 27, Nijmegen

Page 1

HuizenHendriks van

Twee onder een kap

Ruime tuin

Park op fietsafstand

4 slaapkamers

Vossendijk 27 , 6534 TB Nijmegen
H53

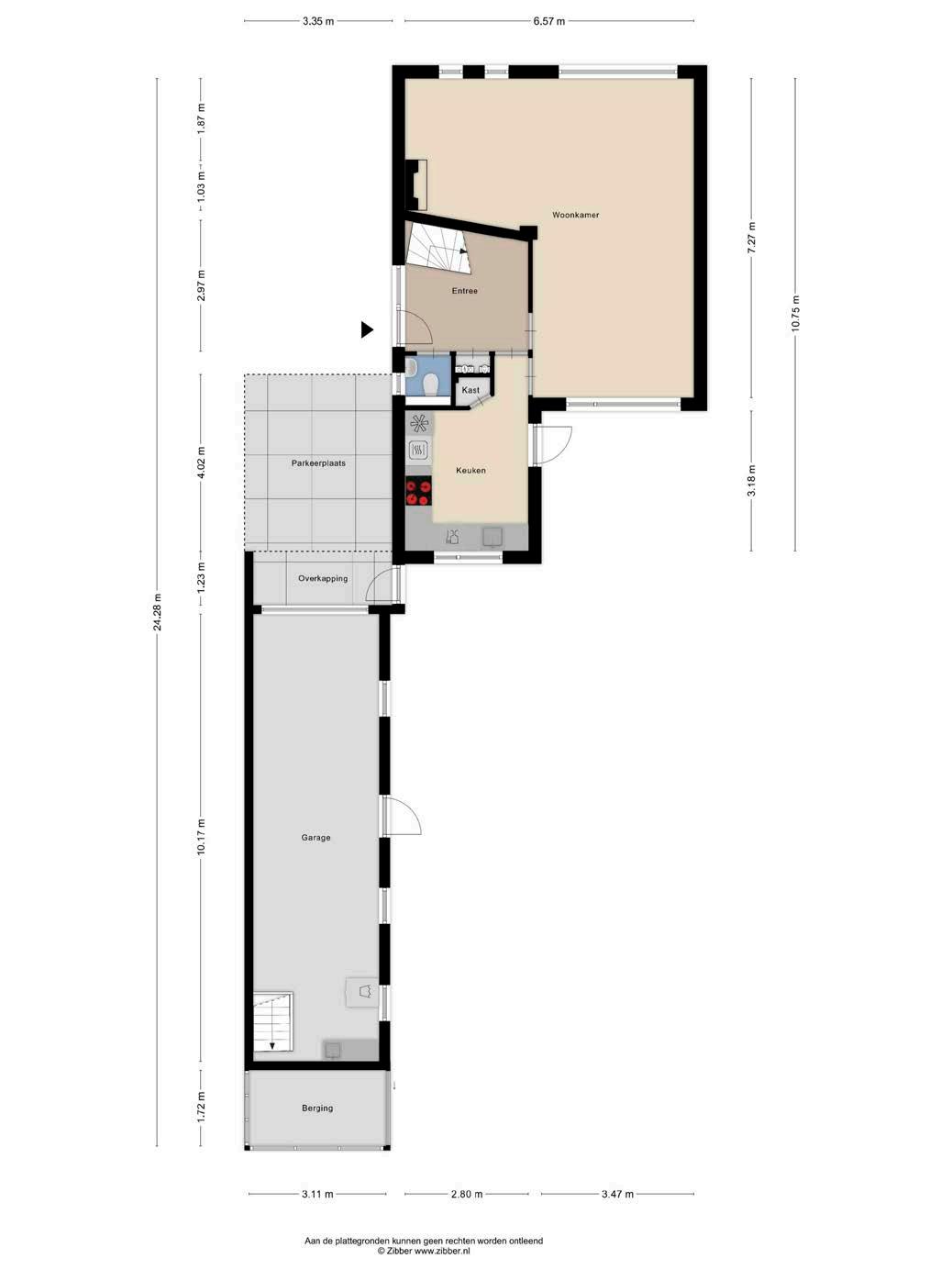
Soort Type Kamers

Woonoppervlakte

Perceeloppervlakte

Inhoud

Bouwjaar

Tuin

Garage Verwarming Isolatie

Energielabel

Kenmerken

eengezinswoning

2-onder-1-kapwoning

6

128 m²

530 m²

454 m³

1975

achtertuin, voortuin

garage met carport

c.v.-ketel

geen isolatie

C

De in deze brochure getoonde informatie wordt door Hendriks makelaardij met zorg samengesteld, doch voor de juistheid en volledigheid daarvan kan niet worden ingestaan en kunnen hieraan geen rechten worden ontleend. Spel- en typefouten voorbehouden. De plattegronden zijn geproduceerd voor promotionele doeleinden en ter indicatie. Er kunnen geen rechten aan worden ontleend. Maten zijn niet eigenhandig opgemeten. Indien er twijfel bestaat over de accuratie van de gegevens aangaande deze brochure, is de geïnteresseerde zelf verantwoordelijk voor het nameten van deze gegevens. Voor meer informatie wordt u doorverwezen naar www.hendriks.nl

Verkoper vertelt

Wij hebben hier zelf nooit gewoond.

Nijmegen: Burchtstraat 124, T 024 - 381 82 50
Te koop bij

Aangenaam licht maak het eigen

Ontdek de charme van deze royale twee-ondereen-kapwoning, een thuis waar elk gezinslid zijn hart kan ophalen. De ruime woonoppervlakte van 128 m² biedt volop mogelijkheden om te genieten en te groeien.

goed in te delen huizen van hendriks

Nette keuken

compleet

mogelijkheden

Deze woning is een plek waar toekomstdromen werkelijkheid worden, met genoeg ruimte om een woonkeuken te realiseren waar je samen kunt koken, eten en lachen.

huizen van hendriks

4 slaapkamers

slaap lekker

hoe richt jij het in?

Boven vind je de rustgevende slaapkamers, elk een blank canvas wachtend op jouw persoonlijke touch. De badkamer, met zijn tijdloze design, is de ideale plek om te ontspannen na een lange dag.

huizen van hendriks

Diepe tuin

genieten

gunstige ligging

De garage, voorzien van een praktische kelder, biedt niet alleen plaats voor je auto, maar is ook ideaal voor opslag of als werkruimte.

En dan het vrije uitzicht: vanuit je achtertuin kijk je uit over een sereen weiland, wat zorgt voor een gevoel van vrijheid en ruimte. De grote tuin is een groen paradijs waar kinderen vrij kunnen spelen en waar je zelf tot rust komt of gezellig met vrienden en familie samenkomt.

Dit huis in de gezellige wijk Hatert, op loopafstand van het Goffertpark, is de ideale setting voor jouw jonge gezin om een liefdevol thuis te creëren.

huizen van hendriks
Vossendijk 27 6534 TB Nijmegen
Vossendijk 27 6534 TB Nijmegen
Vossendijk 27 6534 TB Nijmegen

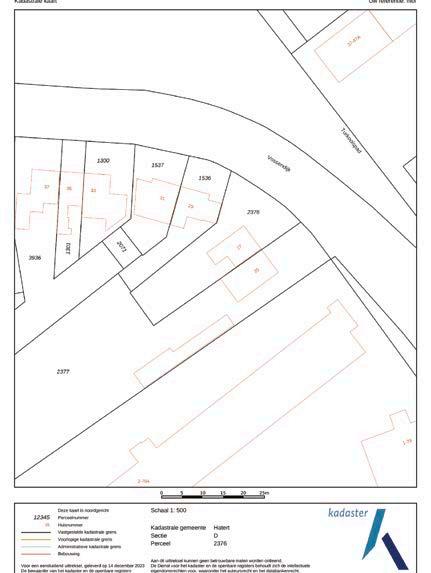
noorden kadastrale kaart

heerlijk wonen in Nijmegen

Nijmegen

De vestingstad Nijmegen, schitterend gelegen aan de rivier de Waal, ligt tussen heuvels en bossen. In de stad zijn nog veel kenmerken van de Romeinse tijd terug te vinden, zoals Romeinse thermen en tempels. Aan het eind van de 19e eeuw ontwikkelde Nijmegen zich als een prachtige woonstad. De brede singels en statige huizen van de St.-Annastraat, de Van Schaeck Mathonsingel en de Oranjesingel stralen nog steeds de schoonheid en de grandeur uit van de 19e eeuw.

Het centrum van Nijmegen heeft recentelijk een nieuw, aantrekkelijker gezicht gekregen. Met een uitnodigende openbare ruimte, gezellige winkelstraten, veel groen en een gevarieerd cultureel aanbod.

Lokaal makelaarschap

Wij geloven sterk in lokaal makelaarschap. Kennis van de buurt, de omgeving en de daarbij behorende ontwikkeling van de huizenprijzen zijn onmisbaar om voor jou het maximale resultaat te boeken.

Met Hendriks Makelaardij kies je voor:

• makelaars die al jarenlang verbonden zijn met de regio

• kennis van de lokale woningmarkt

• een verkoopplan afgestemd op jouw woning

• maximale exposure van je huis

• bezichtigingen ook in het weekend

• netwerk met honderden woningzoekers

Verkoop je je huis met Hendriks dan ben je met de eigen app 24/7 op de hoogte van het verkoopproces. Bezichtigingsverzoeken bereiken je direct en beantwoord je snel en discreet op het moment dat het jou uitkomt.

Ook je huis verkopen? Onze makelaars komen graag en vrijblijvend bij je langs. We maken dan direct een gratis waardebepaling. Hendriks Makelaardij werkt op basis van no cure no pay. En betalen doe je pas bij verkoop.

Burchtstraat 124

024 - 381 82 50 nijmegen@hendriks.nl www.hendriks.nl

TILBURG REESHOF BREDA ‘S-HERTOGENBOSCH TILBURG WEERT ROERMOND NIJMEGEN ARNHEM APELDOORN BUSSUM MEPPEL ALMERE AMSTELVEEN AMSTERDAM A’DAM NOORD MONNICKENDAM PURMEREND ZAANDAM ALKMAAR LANDSMEER HOORN HEERHUGOWAARD A’DAM WEST HOOFDDORP HAARLEM (2x) (2x) AMERSFOORT LEIDEN HILVERSUM EINDHOVEN (2x) (2x) ZWOLLE NIEUWEGEIN WIJK BIJ DUURSTEDE VLEUTEN DE MEERN UTRECHT MAARSSEN onze makelaarskantoren huizen van hendriks
WHATSAPP FOTO’S WONING ADRES WAARDE + + = Burchtstraat 124 024 - 381 82 50 nijmegen@hendriks.nl www.hendriks.nl Ook je huis verkopen? WhatsApp de foto’s en het adres van je woning naar 06 44 33 78 72 en ontvang een gratis waardebepaling!

Turn static files into dynamic content formats.

Create a flipbook
Issuu converts static files into: digital portfolios, online yearbooks, online catalogs, digital photo albums and more. Sign up and create your flipbook.