Skip to main content

Veestraat 25, Tilburg

Page 1

HuizenHendriks van

Op loopafstand van centrum

Modern en luxe afwerkingsniveau

Uiterst riant woongedeelte

Energielabel B

Heerlijke achtertuin met grote berging

Veestraat 25
, 5021 PM Tilburg
H55

De in deze brochure getoonde informatie wordt door Hendriks makelaardij met zorg samengesteld, doch voor de juistheid en volledigheid daarvan kan niet worden ingestaan en kunnen hieraan geen rechten worden ontleend. Spel- en typefouten voorbehouden. De plattegronden zijn geproduceerd voor promotionele doeleinden en ter indicatie. Er kunnen geen rechten aan worden ontleend. Maten zijn niet eigenhandig opgemeten. Indien er twijfel bestaat over de accuratie van de gegevens aangaande deze brochure, is de geïnteresseerde zelf verantwoordelijk voor het nameten van deze gegevens. Voor meer informatie wordt u doorverwezen naar www.hendriks.nl

Verkoper vertelt

Dit huis heb ik 8 jaar geleden gekocht en ik heb er erg mooie herinneringen aan. Het is vooral een hele fijne buurt om te wonen; het centrum, de bakker, supermarkten, noem het maar op, alles ligt binnen handbereik! Ook heel kindvriendelijk met diverse speeltuinen in de buurt.

Het huis zelf is van alle gemakken voorzien: een enorm grote en open woonkamer, superluxe -en nauwelijks gebruikte- keuken, een fijne ruime badkamer, mooie slaapkamers, een heerlijke tuin en een ruime berging/hobbyruimte.

Kortom: kom zelf eens kijken!

Kenmerken eengezinswoning tussenwoning 4 105 m² 144 m² 376 m³ 1986 achtertuin geen garage c.v.-ketel dakisolatie, muurisolatie, vloerisolatie, dubbel glas, hr-glas B Soort Type Kamers Woonoppervlakte Perceeloppervlakte Inhoud Bouwjaar Tuin Garage Verwarming Isolatie Energielabel
Tilburg: Besterdring 223, T 013 - 549 91 90
Te koop bij

Riante woonkamer

welkom thuis

hoe deel jij het in?

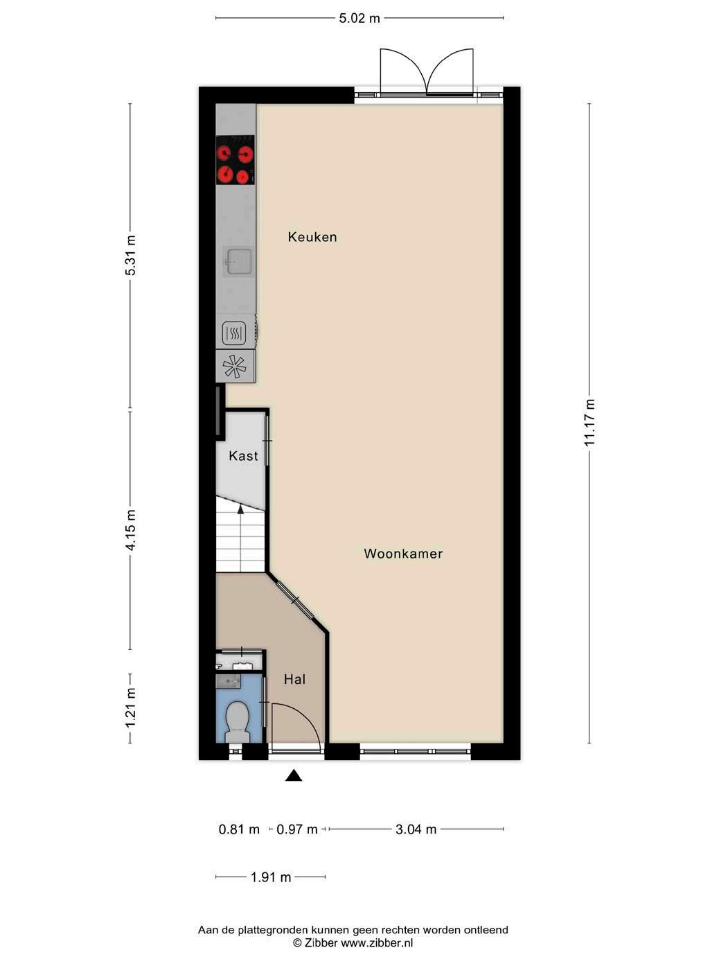
Je stapt de woning binnen in de hal met de meterkast, de trapopgang naar de 1e verdieping en de moderne/luxe toiletruimte met wandcloset en fonteintje, Wij zullen de rondleiding verder voortzetten in de woonkamer.

De echte eyecatcher van de woning is het uiterst riante woongedeelte met de zithoek aan de voorzijde en het eetgedeelte aan de achterzijde. Hier bevinden zich ook een handige provisiekast en de openslaande deuren naar de tuin waardoor je bij warm weer binnen en buiten met elkaar kunt verbinden.

De gehele begane grond is voorzien van een doorlopende tegelvloer en glad stucwerk wand- en plafondafwerking. In het plafond zijn ook diverse sierlijsten verwerkt.

Ook de glas-in-lood details in de deuren zijn zeker het benoemen waard!

huizen van hendriks

Moderne keuken

eet smakelijk aan tafel

De moderne en luxe uitgevoerde keuken sluit naadloos aan op de woonkamer en is geplaatst in een strakke wandopstelling. De keukeninrichting is werkelijk als nieuw en je bent voorzien van alle kookcomfort, te weten: een inductiekookplaat, afzuigkap, oven, combi-magnetron, vaatwasser en koelkast. Ook zul je aan werk-en opbergruimte niets te kort komen dankzij de vele kasten en lades waarbij de keukendeuren van de bovenkastjes elektrisch (!) bedienbaar zijn.

huizen van hendriks

welterusten

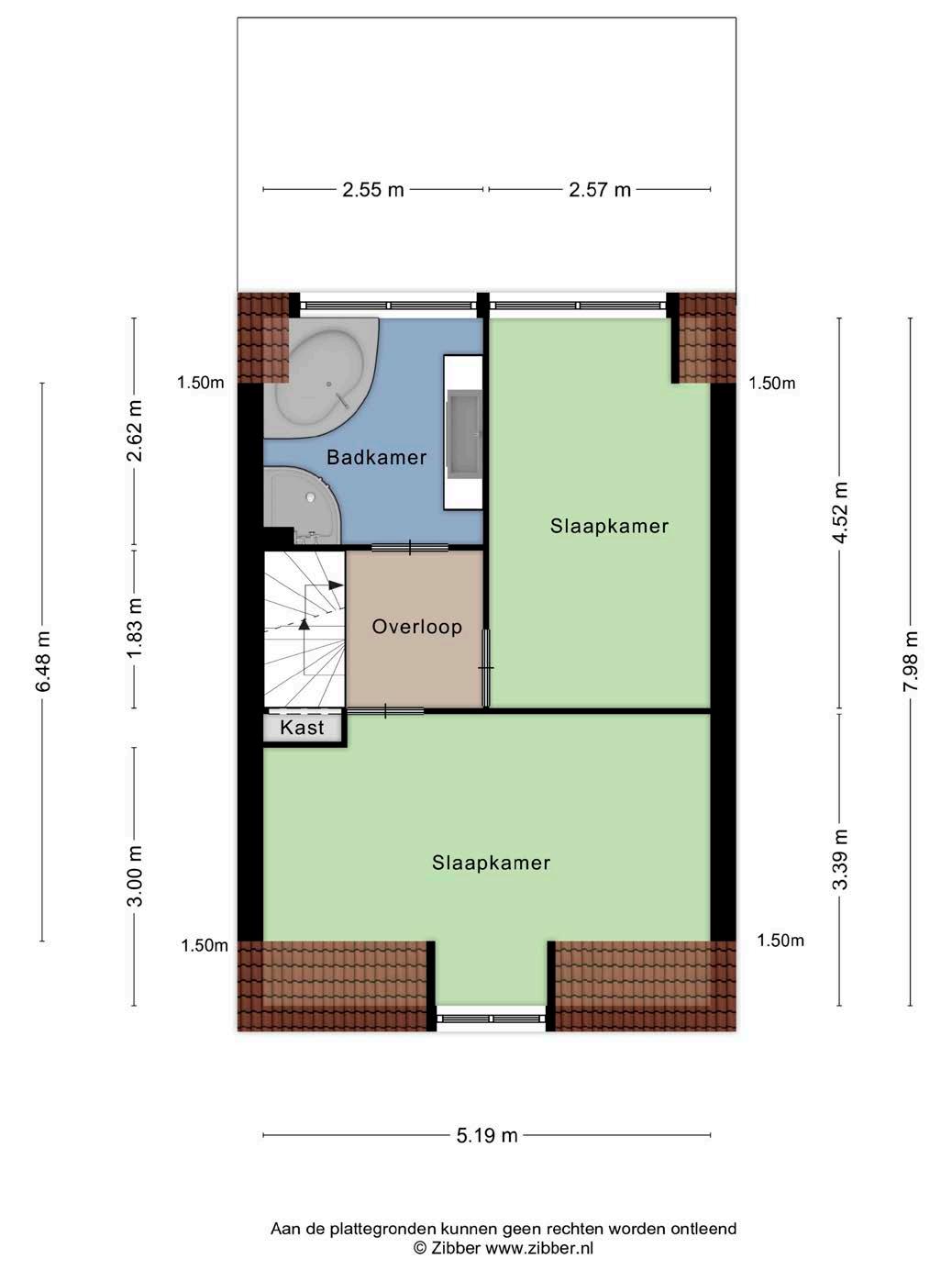
Vanaf de overloop op de eerste verdieping krijg je toegang tot de luxe badkamer en twee van de drie slaapkamers. De derde en tevens laatste slaapkamer bevindt zich op de tweede verdieping.

De luxe badkamer is voorzien van een groot whirlpool hoekbad, douchecabine en een breed badmeubel met verlichte spiegel. Dit is dé plek om te ontspannen!

De vertrekken op de eerste verdieping zijn wederom perfect afgewerkt, lekker licht en volledig naar eigen wens in te delen. Aan de voor-en achterzijde is tevens een dakkapel geplaatst.

Via de vaste trap lopen we door naar de tweede verdieping waar je de open, ruime slaapkamer met dakraam treft. Deze ruimte is eveneens mooi afgewerkt met een laminaatvloer en stucwerk. Gebruik jij alle kamers als slaapkamer of deel jij een kamer in als thuiskantoor, hobbykamer of als speelkamer voor de kinderen?

Luxe badkamer

huizen van hendriks
opfrissen

rustige woonwijk

De fijne tuin is onderhoudsvrij aangelegd met hoogwaardige antraciet betontegels en voorzien van een kraantje, elektra en verlichting. Wanneer je hier een gezellige loungeset plaatst zul je dankzij de ligging op het noordwesten heerlijk van het buitenleven genieten. Ook kun je de fiets eenvoudig rondom rijden dankzij de achterom.

In de tuin ben je tevens voorzien van een opvallend ruime berging voorzien van dubbele deuren, elektra en water. In de berging is een vaste kast aanwezig en zelfs een barretje! Dus niet alleen ideaal voor het opbergen van spullen maar ook om bv. een feestje te geven!

De woning ligt in de rustige woonwijk ¨Trouwlaan-uitvindersbuurt¨ op loopafstand van het stadscentrum. Alle winkels maar ook openbaar vervoer liggen dus letterlijk “om de hoek”. Ook zijn er diverse speelgelegenheden voor kinderen direct nabij.

fijne tuin Onderhoudsvrij aangelegd
huizen van hendriks
Veestraat 25 5021 PM Tilburg
Veestraat 25 5021 PM Tilburg
Veestraat 25 5021 PM Tilburg

Tilburg

Het bruisende hart van Midden-Brabant was vroeger de wolstad van Nederland, nu staat het bekend om de grote variëteit aan middelgrote en kleinere bedrijven in vele industriële sectoren.

Tilburg heeft drie stations: Tilburg CS, Station Tilburg Universiteit en Tilburg Reeshof. Ook heeft Tilburg een uitstekend netwerk van fietspaden: de zogenaamde Sternet-routes. In tegenstelling tot veel andere steden van vergelijkbare grootte ligt Tilburg slechts aan één belangrijke snelweg. Dat is de A58.

Het stadscentrum biedt vele uitgaansmogelijkheden, waaronder stadsschouwburg, popcentrum 013 en gezellige kroegen. En niet te vergeten de jaarlijks terugkerende gezelligheid van Tilburg Trakteert met o.a. de Tilburgse Kermis, Festival Mundial, Ten Miles en Hap & Stap.

Ook blijven de gebiedsontwikkelingen rondom het centrum en de bruisende Piushaven & Spoorzone niet onopgemerkt!

Tilburg is zeker een studentenstad te noemen; De Universiteit van Tilburg (UVT), Fontys Hogescholen, en ROC MiddenBrabant is een greep uit het onderwijsaanbod in Tilburg.

Tilburg kent talloze sportverenigingen met als bekendste uiteraard voetbalclub Willem II. Maar ook zijn we goed vertegenwoordigd in het hockey met drie hockeyclubs. Sinds 2010 beschikt Tilburg over een eigen (400m) ijsbaan genoemd de Ireen Wüst IJsbaan.

heerlijk wonen in Tilburg

noorden kadastrale kaart

Lokaal makelaarschap

Wij geloven sterk in lokaal makelaarschap. Kennis van de buurt, de omgeving en de daarbij behorende ontwikkeling van de huizenprijzen zijn onmisbaar om voor jou het maximale resultaat te boeken.

Met Hendriks Makelaardij kies je voor:

• makelaars die al jarenlang verbonden zijn met de regio

• kennis van de lokale woningmarkt

• een verkoopplan afgestemd op jouw woning

• maximale exposure van je huis

• bezichtigingen ook in het weekend

• netwerk met honderden woningzoekers

Verkoop je je huis met Hendriks dan ben je met de eigen app 24/7 op de hoogte van het verkoopproces. Bezichtigingsverzoeken bereiken je direct en beantwoord je snel en discreet op het moment dat het jou uitkomt.

Ook je huis verkopen? Onze makelaars komen graag en vrijblijvend bij je langs. We maken dan direct een gratis waardebepaling. Hendriks Makelaardij werkt op basis van no cure no pay. En betalen doe je pas bij verkoop.

Besterdring 223 013 - 549 91 90 tilburg@hendriks.nl www.hendriks.nl

TILBURG REESHOF BREDA ‘S-HERTOGENBOSCH TILBURG WEERT ROERMOND NIJMEGEN ARNHEM APELDOORN BUSSUM MEPPEL ALMERE AMSTELVEEN AMSTERDAM A’DAM NOORD MONNICKENDAM PURMEREND ZAANDAM ALKMAAR LANDSMEER HOORN HEERHUGOWAARD A’DAM WEST HOOFDDORP HAARLEM (2x) (2x) AMERSFOORT LEIDEN HILVERSUM EINDHOVEN (2x) (2x) ZWOLLE NIEUWEGEIN WIJK BIJ DUURSTEDE VLEUTEN DE MEERN UTRECHT MAARSSEN onze makelaarskantoren huizen van hendriks
WHATSAPP FOTO’S WONING ADRES WAARDE + + = Besterdring 223 013 - 549 91 90 tilburg@hendriks.nl www.hendriks.nl Ook je huis verkopen? WhatsApp de foto’s en het adres van je woning naar 06 44 33 78 72 en ontvang een gratis waardebepaling!

Turn static files into dynamic content formats.

Create a flipbook