Skip to main content

Staat 17, Nederweert

Page 1

HuizenHendriks van

Ruime vrijstaande woning

Jas ophangen en wonen

Gelijkvloers wonen mogelijk

Authentieke details

Goed verzorgde tuin op het oosten

Staat 17 , 6031 EL Nederweert
H56

Soort

Type

Kamers

Woonoppervlakte

Perceeloppervlakte

Inhoud

Bouwjaar

Tuin

Garage

Verwarming

Isolatie

Energielabel

Kenmerken

eengezinswoning

vrijstaande woning

6

194 m²

585 m²

838 m³

1930 achtertuin, voortuin

aangebouwd steen c.v.-ketel, vloerverwarming gedeeltelijk vloerisolatie, driedubbel glas

De in deze brochure getoonde informatie wordt door Hendriks makelaardij met zorg samengesteld, doch voor de juistheid en volledigheid daarvan kan niet worden ingestaan en kunnen hieraan geen rechten worden ontleend. Spel- en typefouten voorbehouden. De plattegronden zijn geproduceerd voor promotionele doeleinden en ter indicatie. Er kunnen geen rechten aan worden ontleend. Maten zijn niet eigenhandig opgemeten. Indien er twijfel bestaat over de accuratie van de gegevens aangaande deze brochure, is de geïnteresseerde zelf verantwoordelijk voor het nameten van deze gegevens. Voor meer informatie wordt u doorverwezen naar www.hendriks.nl

Verkoper vertelt

Een briefje in de brievenbus, zorgde voor een telefoontje en uiteindelijk voor de koop van Staat 17! We waren op slag verliefd op deze karakteristieke woning en de enorme tuin op deze locatie, zo midden in het centrum.

Een super mooi, authentiek huis, met heel veel charme en een fantastische vrije tuin. Een huis waar de kogelgaten nog in in de gevel te vinden zijn. In dit huis hebben we onze creatieve geest zijn gang laten gaan, om er ons plekje van te maken in kleuren, materialen en inrichting. Tijdens het slopen en verbouwen vonden we oude details terug, zoals de oude muur in de kamer, maar ook aantekeningen van o.a. een schilder welke in 1931 deze woning geschilderd heeft.

Staat 17, als je het ons vraagt misschien wel het mooiste huis in Nederweert. In ieder geval echt een plek om thuis te komen.

E
Weert: Emmasingel 34, T 0495 - 45 04 85
Te koop bij

sfeervolle woonkamer

authentieke details

Stap de ruime woonkamer binnen en raak meteen in de ban van de sfeervolle ambiance. De fraai afgewerkte muren vormen het decor waarin jouw meubels tot hun recht komen. Een mooie houten balk is geplaatst om een open verbinding te maken tussen de keuken en woonkamer. De grote ramen en openslaande deuren naar de tuin, dragen bij aan een lichte, uitnodigende ruimte waarin elk hoekje uitstraalt: hier wordt geleefd, gelachen en ontspannen.

Royale kamer!
huizen van hendriks

Hart van de woning

ruime woonkeuken met inbouwapparatuur

Als je de woning binnentreedt is direct zichtbaar en voelbaar dat de oudheid van dit huis een smaakvolle mix geeft gekregen met de materialen van nu. De woning heeft een mooie ruime hal, waarbij de eiken trap een echte eyecatcher is. De vloer in de hal bestaat uit RAW stones in waalformaat, welke direct een sfeerbeeld geeft van de gehele woning. Vanuit de hal kom je terecht in de ruime woonkeuken, geheel voorzien van inbouwapperatuur, zoals een grote oven, keramische kookplaat en vaatwasser. De keuken vormt het hart van het huis en heeft een directe, open verbinding met de woonkamer.

van hendriks
huizen

Toekomstbestendig!

gelijkvloers wonen

tal van mogelijkheden

Comfort kent geen tijd in deze woning. De aanwezigheid van twee extra kamers, welke als slaapkamer, speelkamer of kantoor kunnen fungeren, zijn aanwezig in deze woning. Ook is er een douche op de begane grond. Dit biedt mogelijkheden voor jong en oud. Deze woning biedt gemak en privacy in elke levensfase.

huizen van hendriks
drie royale slaapkamers
Ruimte in overvloed tweede badkamer

De trap omhoog leidt naar een eigen wereld van rust: drie royale slaapkamers, elk met eigen karakter en oneindige inrichtingsmogelijkheden en een badkamer welke zowel via de ouderslaapkamer als via de gang te betreden is.

De woning heeft daarnaast op de bovenverdieping een extra ruimte waar de CV ketel daterend uit 2023 hangt, maar die ook de mogelijkheden biedt voor opslag. Ook is vanuit deze ruimte de zolder te betreden, waar veel opslagruimte te vinden is.

huizen van hendriks

Genieten!

privacyvolle tuin op het oosten

Netjes verzorgde en volwassen tuin op het oosten, waarin de notenboom met schommel het plaatje compleet maakt. De tuin is opgedeeld in verschillende niveau’s, wat een speels effect geeft. Er zijn diverse zitplekken gecreëerd, waaronder een knusse plek met overkapping. Ook is er een gemetseld tuinhuis aanwezig, met een overkapping voor extra opslagruimte.

Een tuin waar de ochtendzon de dauw kust en waar de dag in alle rust begint. Het oosten biedt een perfect toneel voor de zonsopgang en zorgt voor licht en warmte gedurende de hele ochtend. De tuin, met zorg onderhouden en slim aangelegd, biedt privacy, ruimte voor kinderen om te spelen en volop potentie voor groene vingers.

huizen van hendriks
Staat 17 6031 EL Nederweert
Staat 17 6031 EL Nederweert

heerlijk wonen in Nederweert

Nederweert

Nederweert is een dorp in de gelijknamige gemeente Nederweert. Het dorp ligt aan een kruising van kanalen, de Zuid-Willemsvaart, de Noordervaart en het kanaal WessemNederweert. De stad Weert ligt op een steenworp afstand, Eindhoven en Maastricht zijn snel te bereiken via de A2. Of je nu voor werk of ontspanning reist, Nederweert biedt de perfecte uitvalsbasis.

Naast de handige locatie biedt Nederweert ook een scala aan voorzieningen en faciliteiten. Het centrum van Nederweert heeft een divers aanbod aan winkels, restaurants en cafés. Je kunt hier terecht voor al je dagelijkse behoeften, maar ook voor ontspanning. Daarnaast organiseert de gemeente regelmatig evenementen en activiteiten voor alle leeftijden, waardoor er altijd iets te beleven valt.

Voor gezinnen met kinderen is Nederweert de ideale plek om te wonen. De gemeente heeft verschillende basisscholen. Daarnaast zijn er diverse sportclubs en verenigingen zoals een voetbalclub en carnavalsvereniging.

Een ander groot pluspunt van Nederweert is de natuurlijke schoonheid. De gemeente is omringd door prachtige natuurgebieden, waaronder het Weerterbos en De Hutten. Dit uitgestrekte gebied biedt volop gelegenheid voor wandelingen, fietstochten en vogelspotten.

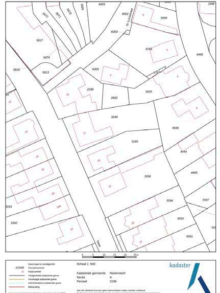
noorden kadastrale kaart

Lokaal makelaarschap

Wij geloven sterk in lokaal makelaarschap. Kennis van de buurt, de omgeving en de daarbij behorende ontwikkeling van de huizenprijzen zijn onmisbaar om voor jou het maximale resultaat te boeken.

Met Hendriks Makelaardij kies je voor:

• makelaars die al jarenlang verbonden zijn met de regio

• kennis van de lokale woningmarkt

• een verkoopplan afgestemd op jouw woning

• maximale exposure van je huis

• bezichtigingen ook in het weekend

• netwerk met honderden woningzoekers

Verkoop je je huis met Hendriks dan ben je met de eigen app 24/7 op de hoogte van het verkoopproces.

Bezichtigingsverzoeken bereiken je direct en beantwoord je snel en discreet op het moment dat het jou uitkomt.

HEERHUGOWAARD

ALKMAAR LANDSMEER HOORN

Ook je huis verkopen? Onze makelaars komen graag en vrijblijvend bij je langs. We maken dan direct een gratis waardebepaling. Hendriks Makelaardij werkt op basis van no cure no pay. En betalen doe je pas bij verkoop.

Emmasingel 34

0495 - 45 04 85 weert@hendriks.nl www.hendriks.nl

PURMEREND ZAANDAM

A’DAM WEST

HOOFDDORP HAARLEM

LEIDEN

MONNICKENDAM

A’DAM NOORD

AMSTERDAM

AMSTELVEEN

(2x) (2x)

ALMERE

BUSSUM

HILVERSUM

VLEUTEN DE MEERN UTRECHT MAARSSEN

AMERSFOORT

(2x) (2x)

NIEUWEGEIN WIJK BIJ DUURSTEDE

MEPPEL

ZWOLLE

APELDOORN

NIJMEGEN ARNHEM

‘S-HERTOGENBOSCH

TILBURG REESHOF BREDA

TILBURG

EINDHOVEN

WEERT ROERMOND

onze makelaarskantoren huizen van hendriks
WHATSAPP FOTO’S WONING ADRES WAARDE + + = Emmasingel 34 0495 - 45 04 85 weert@hendriks.nl www.hendriks.nl Ook je huis verkopen? WhatsApp de foto’s en het adres van je woning naar 06 44 33 78 72 en ontvang een gratis waardebepaling!

Turn static files into dynamic content formats.

Create a flipbook
Staat 17, Nederweert by Hendriks Makelaardij - meer makelaar - - Issuu