Skip to main content

Bremstraat 2, Nederweert

Page 1


HuizenHendriks van

Ruime lichte woning

Moderne keuken en badkamer

Vijf slaapkamers

Onderhoudsvrije tuin

Nabij het centrum van Nederweert

Soort eengezinswoning

Type geschakelde woning

Kamers 6

Woonoppervlakte 131 m²

Perceeloppervlakte 235 m²

Inhoud 551 m³

Bouwjaar 1992

Tuin achtertuin, voortuin

Garage aangebouwd steen, inpandig

Verwarming c.v.-ketel

Isolatie volledig geïsoleerd

Energielabel C

De in deze brochure getoonde informatie wordt door Hendriks makelaardij met zorg samengesteld, doch voor de juistheid en volledigheid daarvan kan niet worden ingestaan en kunnen hieraan geen rechten worden ontleend. Spel- en typefouten voorbehouden. De plattegronden zijn geproduceerd voor promotionele doeleinden en ter indicatie. Er kunnen geen rechten aan worden ontleend. Maten zijn niet eigenhandig opgemeten. Indien er twijfel bestaat over de accuratie van de gegevens aangaande deze brochure, is de geïnteresseerde zelf verantwoordelijk voor het nameten van deze gegevens. Voor meer informatie wordt u doorverwezen naar www.hendriks.nl

Verkoper vertelt

Onze woning aan de Bremstraat 2 in Nederweert voelt echt als thuis. Toen we het huis in 2017 zagen, waren we meteen verliefd op de buitenkant met het puntige dak en de gezellige erker. Binnen was alles zoals we hadden gehoopt: een lichte, ruime woonkamer die het hart van het huis is. Het is de perfecte plek om samen te komen, of we nu een film kijken, spelletjes spelen of gasten ontvangen.

De bovenverdieping heeft een lichte overloop, een fijne badkamer met bad en drie fijne slaapkamers. De kinderslaapkamers bieden genoeg ruimte om te spelen, en de ouderslaapkamer is ruim genoeg voor zowel een bed als een werkplek.

De tweede verdieping heeft een knusse slaapplek met uitzicht op de kerk, en een opbergruimte voor alles wat we niet dagelijks gebruiken. We waarderen ook de bijkeuken en garage, die zorgen voor extra opbergruimte en praktisch gemak.

De openslaande deuren naar de tuin maken het in de zomer heerlijk om buiten te eten of te relaxen. De locatie is ideaal, in een rustige, kindvriendelijke buurt met alles dichtbij.

We denken met veel plezier terug aan het moment dat we dit huis vonden en hopen dat de nieuwe bewoners er net zoveel fijne herinneringen maken als wij.

grote

raampartijen

fijne ruimte

Stap binnen in een oase van licht en ruimte waar elke hoek uitnodigt tot ontspanning. De grote raampartijen laten de zon vrij spel geven, waardoor de woonkamer altijd baadt in een warme gloed. Hier combineer je moeiteloos een gezellige zithoek met een speelhoek voor de kinderen en een royale eethoek. Het is de perfecte plek voor familiebijeenkomsten, filmavonden of gewoon om met een goed boek te genieten van de rust

Moderne afwerking

vernieuwde apparatuur

complete badkamer

De keuken is recentelijk vernieuwd en is een waar paradijs voor de kookliefhebber. Met moderne inbouwapparatuur en een strak, eigentijds design, is koken hier een waar feest. Of je nu een snelle maaltijd bereidt of een uitgebreid diner kookt, deze keuken biedt alle ruimte en gemakken. Met een praktische indeling en hoogwaardige materialen is het zowel functioneel als stijlvol.

De badkamer biedt een luxe toevluchtsoord waar je jezelf kunt opladen en ontspannen. Met een eigentijds design en voorzien van moderne gemakken, voel je je hier elke dag alsof je in een spa bent. Denk aan een ruime inloopdouche, smaakvolle tegels en hoogwaardige afwerking. Hier begint elke dag met een verfrissende start en eindig je met een moment van rust

Slaap lekker

vijf slaapkamers

tal van opties

Deze woning biedt maar liefst de mogelijkheid voor vijf slaapkamers, zorgvuldig verdeeld over de eerste en tweede verdieping. Ideaal voor gezinnen die extra ruimte kunnen gebruiken of een thuiskantoor willen inrichten. Elke kamer is een rustige plek waar comfort voorop staat, met voldoende ruimte voor persoonlijke accenten. Hier vind je de perfecte balans tussen privacy en samenleven.

onderhoudsvriendelijk

noordwesten

De tuin is ontworpen om zowel mooi als praktisch te zijn, met een onderhoudsvriendelijke opzet. Aangelegd in 2021, biedt deze buitenruimte een heerlijke plek om te ontspannen. Geniet van zonnige middagen of organiseer een gezellige barbecue met vrienden en familie. Met een ligging op het noordwesten, kun je hier tot in de late uurtjes van de zon genieten.

heerlijk wonen in Nederweert

Nederweert

Nederweert is een dorp in de gelijknamige gemeente Nederweert. Het dorp ligt aan een kruising van kanalen, de Zuid-Willemsvaart, de Noordervaart en het kanaal WessemNederweert. De stad Weert ligt op een steenworp afstand, Eindhoven en Maastricht zijn snel te bereiken via de A2. Of je nu voor werk of ontspanning reist, Nederweert biedt de perfecte uitvalsbasis.

Naast de handige locatie biedt Nederweert ook een scala aan voorzieningen en faciliteiten. Het centrum van Nederweert heeft een divers aanbod aan winkels, restaurants en cafés. Je kunt hier terecht voor al je dagelijkse behoeften, maar ook voor ontspanning. Daarnaast organiseert de gemeente regelmatig evenementen en activiteiten voor alle leeftijden, waardoor er altijd iets te beleven valt.

Voor gezinnen met kinderen is Nederweert de ideale plek om te wonen. De gemeente heeft verschillende basisscholen. Daarnaast zijn er diverse sportclubs en verenigingen zoals een voetbalclub en carnavalsvereniging.

Een ander groot pluspunt van Nederweert is de natuurlijke schoonheid. De gemeente is omringd door prachtige natuurgebieden, waaronder het Weerterbos en De Hutten. Dit uitgestrekte gebied biedt volop gelegenheid voor wandelingen, fietstochten en vogelspotten.

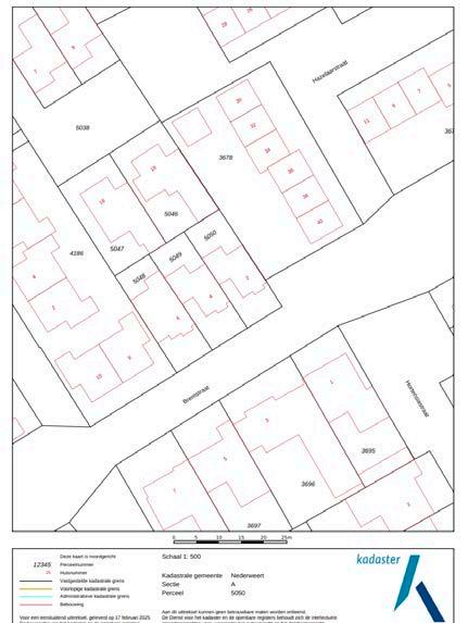
noorden kadastrale kaart

HEERHUGOWAARD

ALKMAAR LANDSMEER HOORN

ZAANDAM

HOOFDDORP HAARLEM (2x)

A’DAM WEST

Lokaal makelaarschap

Wij geloven sterk in lokaal makelaarschap. Kennis van de buurt, de omgeving en de daarbij behorende ontwikkeling van de huizenprijzen zijn onmisbaar om voor jou het maximale resultaat te boeken.

Met Hendriks Makelaardij kies je voor:

• makelaars die al jarenlang verbonden zijn met de regio

• kennis van de lokale woningmarkt

• een verkoopplan afgestemd op jouw woning

• maximale exposure van je huis

• bezichtigingen ook in het weekend

• netwerk met honderden woningzoekers

Verkoop je je huis met Hendriks dan ben je met de eigen app 24/7 op de hoogte van het verkoopproces.

Bezichtigingsverzoeken bereiken je direct en beantwoord je snel en discreet op het moment dat het jou uitkomt.

Ook je huis verkopen? Onze makelaars komen graag en vrijblijvend bij je langs. We maken dan direct een gratis waardebepaling. Hendriks Makelaardij werkt op basis van no cure no pay. En betalen doe je pas bij verkoop.

Emmasingel 34

0495 - 45 04 85 weert@hendriks.nl www.hendriks.nl

PURMEREND

MONNICKENDAM

A’DAM NOORD

AMSTERDAM

AMSTELVEEN

LEIDEN

ALMERE

BUSSUM

HILVERSUM

MAARSSEN

VLEUTEN DE MEERN UTRECHT

NIEUWEGEIN WIJK BIJ DUURSTEDE

AMERSFOORT

BREDA

TILBURG

MEPPEL

ZWOLLE

APELDOORN

ARNHEM

(2x)

NIJMEGEN

‘S-HERTOGENBOSCH

EINDHOVEN (2x) (2x)

WEERT

ROERMOND

Turn static files into dynamic content formats.

Create a flipbook