HFG2025Aug_Proof

Page 1


THE AVERAGE HOME MORTGAGE

INTEREST RATE OVER THE LAST 30 YEARS...

7.7%

Advertising

$80,000 - 286 Park

2

351 Believers Ln $329,900 3Br 2Ba Living 2,109 Immaculate! Custom one story brick home in “The Courtyards of Moss Bluff”. Landscaping, covered patio, fenced yard with wrought iron gate, gas generator. Stove, dryer, and water heater can be gas or electric.

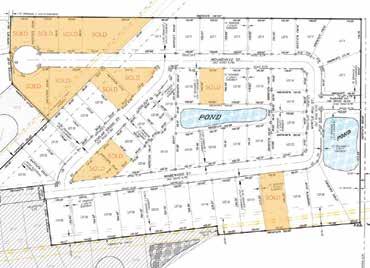
The Shadows at Bayou Oaks lies to the east of the Choupique Bayou in the heart of Southwest Louisiana. It is nestled amongst one hundred year old oak trees with rolling terrain of a preexisting golf course and a backdrop from the Choupique Bayou. The aesthetic influences found at The Shadows of Bayou Oaks can be traced through the history and heritage of Louisiana. The diversity in Southwest Calcasieu Parish’s culture and customs will clearly be reflected in the architectural styles that flourish throughout all 103 lots in this development. Owner is a Licensed Agent. www.rhinolc.com/the-shadows-at-bayou-oaks/ www.hfguide.com/417118

Lot 41..............$79,900

Lot 42..............$84,000

Lot 43..............$49,900

44...........$105,000

Lot 53..............$78,000

Lot 54..............$81,000

Lot 55..............$81,000

CYPRESS LAKE DRIVE, LAKE CHARLES
Bring your offer! Large .6 acre lot with river frontage on the West Fork Calcasieu River. Located near Sam Houston State Park and convenient to all city amenities. 120 foot of river frontage on Cypress Lake DrIve. MLS:SWL24007129 $140,000
Shadows at Bayou Oaks
Choupique Bayou in the heart of
Louisiana. It is nestled amongst one hundred year old oak trees with rolling terrain of a preexisting golf course and a backdrop from the Choupique Bayou.

I AM REAL ESTATE

I am the basis of all wealth, the heritage of the wise, the thrifty and prudent.

I am the poor man’s joy and comfort, the rich man’s prize, the right hand of capital, the silent partner of many thousands of successful men.

I am the solace of the widow, the comfort of old age, the cornerstone of security against misfortune and want. I am handed down to children through generations as a thing of greatest worth.

I am the choicest fruit of toil. Credit respects me, yet I am humble. I stand before every man bidding him know me for what I am and possess me.

I am growing in value through countless days. Though I seem dormant, my worth increases, never failing, never ceasing. Time is my aid and population heaps up my gain. Fire and the elements I defy, for they cannot destroy me.

I am trustworthy. I am sound. The thriftless speak ill of me. The charlatans of finance attack me. Unfailingly I triumph and detractors are disproved.

I am producer of food, the basis for ships and factories, the foundations of banks. Minerals and oils come from me.

I am so common that thousands, unthinkingly and unknowingly, pass me by.

I am increasing in strength. The centuries find me younger. My possessors learn to believe in me, invariably they become envied. While all things wither and decay. I survive.

Turn static files into dynamic content formats.

Create a flipbook
Issuu converts static files into: digital portfolios, online yearbooks, online catalogs, digital photo albums and more. Sign up and create your flipbook.
HFG2025Aug_Proof by Caple Communications, LLC - Issuu