Jacksonville Daily Record 9/5/24

Page 1


‘AGRIHOOD’ WOULD BRING 3,300 HOMES TO ST. JOHNS

THE AGRIHOOD

Freehold Communities

“Agrihood” Arden masterplanned development in South Florida features a 5-acre farm and event barn.

Freehold Communities wants to develop about 2,700 acres off County Road 214 south of the St. Augustine Premium Outlets.

Boston-based Freehold Communities, the developer of Shearwater in St. Johns County, is working with St. Augustine landowners on a new project to turn farmland into a residential community with thousands of homes.

The development requires a rezoning from Open Rural to Planned Unit Development of 2,673 acres between County Roads 208 and 214 west of Interstate 95. It is south of the St. Augustine Premium Outlets and about 20 miles south of Shearwater.

The “Agrihood” plans include 250,000 square feet of retail and commercial space. It would include up to 3,332 residential units, comprising up to 2,077 single-family homes, 340 town homes and 915 age-restricted single-family units. By comparison, Shearwater along County Road 210 in northern St. Johns is 1,500 acres with plans for 2,000 homes.

According to Freehold Communities’ website, “Agrihoods are defined as an organized community that integrates agriculture into a residential setting.”

SEE AGRIHOOD, PAGE 10

THE SITE

The Freehold Communities site in St. Johns County is on 2,673 acres owned Robinson Improvement Co. north of County Road 214.

WHAT’S TRENDING

Jacksonville Jaguars climbs list of NFL franchise values

The Jacksonville Jaguars moved up in Forbes magazine’s annual list of most valuable NFL franchises, with its estimated income increasing last season.

In a story posted on its website Aug. 29, Forbes said the Jaguars franchise is valued at $4.6 billion, up from $4 billion a year ago.

That ranked the team 26th out of the 32 NFL teams, up from 28th in the 2023 ranking. The team was one step below the Indianapolis Colts ($4.8 billion) and ahead of the Carolina Panthers ($4.5

billion). The Jaguars and Panthers both joined the NFL as expansion teams in 1995.

The magazine estimated the Jaguars’ operating income at $139 million in 2023, up from $110 million in 2022.

All NFL teams are increasing in value, helped by the league’s big national television contracts, Forbes said.

The average team is valued at $5.7 billion, up 11% from last year, and every team is profitable with operating income of at least $56 million last year.

JACKSONVILLE

Daily Record

121 W. Forsyth St., Suite 150, Jacksonville, FL, 32202

Phone: 904-356-2466, Fax: 904-353-2628 jaxdailyrecord.com

The Jacksonville Daily Record and JaxDailyRecord.com are a division of Observer Media Group Inc. The Daily Record is published 52 times a year in print on Thursdays and at JaxDailyRecord.com seven days a week.

Established in 1912, the Jacksonville Daily Record is Northeast Florida’s newspaper for business leaders. Editorial content focuses on news and trends, with a concentration on development, real estate, construction, law, companies, economic and industry trends and how local and state government affects business. The Jacksonville Daily Record is the leading publisher of public notices in three Northeast Florida counties: Duval, Clay and St. Johns.

Publisher Angie Campbell acampbell@jaxdailyrecord.com

Director of Advertising | Jay Lesowitz jlesowitz@jaxdailyrecord.com

Multimedia Advertising Executive | Kristen Knudsen kknudsen@jaxdailyrecord.com

Advertising Coordinator | Codi Gildberg adassist@jaxdailyrecord.com

Legal Advertising Manager | Rhonda Fisher legal@jaxdailyrecord.com

Legal Advertising Associate | Nichol Stringer legal@jaxdailyrecord.com

Network Administrator | Erik Wagner webadmin@jaxdailyrecord.com

Circulation Customer Service Team subscriptions@jaxdailyrecord.com

Editor Monty Zickuhr mzickuhr@jaxdailyrecord.com

Editor at Large | Karen Brune Mathis kmathis@jaxdailyrecord.com

Assistant Editor | David Crumpler dcrumpler@jaxdailyrecord.com

Associate Editor Legal Affairs | Max Marbut mmarbut@jaxdailyrecord.com

Associate Editor Government Affairs | Ric Anderson randerson@jaxdailyrecord.com

Staff Writer | Dan Macdonald dmacdonald@jaxdailyrecord.com

Staff Writer | J. Brooks Terry bterry@jaxdailyrecord.com

Contributing Writer | Mark Basch mbasch@jaxdailyrecord.com

CEO | Matt Walsh | mwalsh@jaxdailyrecord.com

Publisher Emeritus | James F. Bailey Jr. | jbailey@jaxdailyrecord.com

HOW TO REACH US

EDITORIAL: To submit a news release or editorial inquiry visit JaxDailyRecord.com/ submit-news-release or email editorial@JaxDailyRecord.com. Article reprints are available at JaxDailyRecord.com

LEGAL ADVERTISING: Submit public notices via email to legal@JaxDailyRecord.com. List the county name in the subject line and attach notice. Deadline 2 p.m. Wednesday.

DISPLAY & ONLINE ADVERTISING: Call 904-356-2466 or email advertise@ JaxDailyRecord.com. Deadline for display advertising is 3 p.m. Thursday.

Publix plans to renovate Mandarin store

Publix Super Markets Inc. wants to renovate its Mandarin store at northwest San Jose Boulevard and Interstate 295 at an estimated cost of $1.2 million.

Elkins Construction LLC of Jacksonville is the contractor for the renovation. Jacobs of Orlando is the architect.

The Lakeland-based company is asking the city for approval to renovate the

almost 65,000-square-foot store, one of its largest, on 5.83 acres at 10500 San Jose Blvd.

Most Publix stores are 40,000 to 60,000 square feet.

The store was built in 1988 as an Albertsons grocery store, which closed in 2005. Publix renovated it and opened there in 2006.

Bath & Body Works to River City Marketplace

Bath & Body Works will replace the closed Rue21 at River City Marketplace, boosting the soap, lotion, scent and candle company to nine stores in Northeast Florida.

Landlord Kimco Realty Corp. shows Bath & Body Works in Space 54, next to Old Navy. Jericho, New York-based Kimco owns the shopping center through Ramco Jacksonville LLC.

Kimco Realty bought RPT Realty in January. RPT Realty was Ramco’s corporate name.

River City Marketplace is in North

Jacksonville, at Interstate 95 and Airport Center Drive.

The city is reviewing a permit application for contractor Elder-Jones Inc. of Bloomington, Minnesota, to remodel the 3,255-square-foot store at 13141 City Station Drive for Bath & Body Works at an estimated project cost of $225,000, which is subject to change as the review is completed.

Plans indicate the store will be a combined Bath & Body Works and White Barn, a sister company that sells candles and home and car scents.

First tenants for Shops at Race Track Rd

Another Broken Egg Cafe and KFC are the first signed tenants in the Shops at Race Track Rd, according to the real estate broker representing the commercial development in St. Johns County. Shops at Race Track Rd, which broke ground in August, sits on 7 acres at 4560 Race Track Road in Saint Johns, about 3 miles west of Interstate 95.

HOW TO FIND US

The shopping center is 70% preleased, Atlantic Retail Senior Broker Scott Giles said.

A 20,000-square-foot regional ethnic grocery store is planned as the center’s anchor.

Giles did not name the grocer. An Aldi operates about half a mile west in Durbin Creek Crossing.

The Jacksonville Daily Record is available by mailed subscription and at newsstands. Subscribe online at jaxdailyrecord.com/subscribe or contact our subscription department by phone at 877-231-8834 or via email at subscriptions@jaxdailyrecord.com

The Jacksonville Daily Record is distributed in key business nodes throughout Northeast Florida. Individual copies are free. To find a location near you, visit JaxDailyRecord.com/rack-locations.

POSTAL INFORMATION

The Jacksonville Daily Record is published weekly by Daily Record & Observer LLC, 121 W. Forsyth St., Suite 150, Jacksonville, FL, 32202. Periodicals postage paid at Jacksonville, Florida, and at additional mailing offices. The Jacksonville Daily Record is circulated in Duval, Clay, Nassau and St. Johns counties. Under no circumstances will any news or records of Duval County be suppressed for anyone. Information in this publication is for our subscribers only and must not be used by anyone for publication purposes.

POSTMASTER: Send changes of address to the Jacksonville Daily Record, Observer Media Group, 1970 Main Street, Floor 3, Sarasota, FL 34236

PUBLIC NOTICES

The Jacksonville Daily Record meets the legal requirements to publish legal notices in Duval, Clay, Nassau and St. Johns counties, per F.S. 50.0111(1)(e). USPS Periodicals Permit (190-620)

STATEMENT OF OWNERSHIP

The Jacksonville Daily Record 2023 Statement of Ownership can be accessed at this link.

SOCIAL

AUDITOR INFORMATION

Circulation

Verification Council 12166 Old Big Bend Road, Suite 210 Kirkwood, Missouri, 63122 314-966-7711 cvcaudit.com

facebook.com/ JaxDailyRecord linkedin.com/company/ jacksonville-daily-record

City of Jacksonville Jacksonville Jaguars owner Shad Khan is seeing the value of his NFL franchise rise, according to Forbes.

Pour Taproom, Pizza Dynamo start build-out

The city issued a permit for the $3 million construction project in the VyStar Credit Union garage at Forsyth and Laura streets.

Pizza and pours are on the way Downtown.

The city issued a permit Aug. 27 for the $3 million build-out for the proposed Pour Taproom and Pizza Dynamo restaurant in the VyStar Credit Union garage Downtown at 61 N. Laura St.

Danis Construction LLC in Jacksonville is the contractor

The restaurant also has been called Pizza Jeans, but Pour Taproom owner/operator Tony Draper said Aug. 28 that the name was changed to Pizza Dynamo, which will be operated by Jeremy Gatto.

The self-serve beer venue and the pizza restaurant are planned on the ground floor of the garage at Forsyth and Laura streets. They have separate entrances but a shared kitchen and other common space.

The permit application says the work includes the interior build-out of the two new restaurant/bar concepts in 7,634 square feet of space on the street level of the seven-level, 759-space parking garage.

The garage is at 28 W. Forsyth

St., between Main and Laura streets.

Both concepts have indoor/ outdoor bars and seating as well as interior bars and seats.

There also is mezzanine seating in the taproom.

The project team comprises owner Gather Tap LLC of Jacksonville, property owner VyStar Credit Union, architect Terminus Design Group of Atlanta and interior designer Mariel Ramos, among others.

VyStar announced April 4, 2023, that Atlanta-based Pour Taproom signed a letter of intent to lease nearly 9,000 square feet of indoor and patio space along Laura Street.

It said the venue plans an open environment for entertainment

and a mezzanine for private event rentals and catering.

Florida Department of Business & Professional Regulation letters dated Feb. 1 identify Urban Dough LLC at 28 W. Forsyth St. and Gather Tap LLC/ Pour Taproom at 61 N. Laura St. as the owners/operators.

INCENTIVES

The Downtown Investment Authority Retail Enhancement and Property Disposition Committee approved incentives April 11 for the projects. On those plans, the restaurant was called Pizza Dynamo.

The incentives were:

$207,350 for Pizza Dynamo, comprising a $192,350 grant through the DIA’s Food & Bever-

age Retail Enhancement Program and a $15,000 grant to help create a sidewalk dining area.

$215,000 for Pour Taproom, comprising a $200,000 in FABREP grant and a $15,000 sidewalk improvement grant.

The DIA’s targeted FAB-REP grants aim to spur development of food and beverage establishments in targeted Downtown areas.

THE BUSINESSES

A DIA staff report said the Pizza Dynamo-Pour Taproom tandem will occupy 7,600 square feet of the parking garage’s ground floor plus 2,500 square feet on the mezzanine level. An indoor-outdoor bar and sidewalk seating also are planned.

That report said that together,

construction costs for buildout for Pizza Dynamo and Pour Taproom were estimated at $3.67 million. Sidewalk enhancements were estimated at $20,656 for the pizzeria and $50,609 for the taproom.

Hours for the adjoined Pizza Dynamo and Pour Taproom will be 11 a.m. to 10 p.m. SundayThursday and 11 a.m. to 2 a.m. on Fridays and Saturdays.

The DIA staff report says Pour Taproom will offer views of the corner of Laura and Forsyth streets through large bay windows and plans to add an entertainment stage and open mezzanine for regular seating and private events.

Plans call for Pizza Dynamo to employ two or three full-time managers plus a staff of 20 fullor part-time employees.

Pour Taproom will offer more than 80 beers and wines available through a self-service system that allows patrons to draw 1 to 16 ounces of beverages at a time. The flexibility lets customers sample different beers, create their own flights or pour themselves full pints.

The system is activated through a bracelet that must be reauthorized by staffers after two drink equivalents are dispensed.

The taproom, part of an Atlanta-based chain, also will offer food items.

The establishment would employ 20 workers.

KMATHIS@JAXDAILYRECORD.COM 904-356-2466

rendering
A rendering of the Pour Taproom exterior at 61 N. Laura St. in the VyStar Credit Union parking garage.

THE MATHIS REPORT

Stone Climbing anchoring plans for South Jacksonville gym

“We decided to move fast and keep climbing local in Northeast Florida,” says CEO Eric Hires, who cofounded the first site in St. Augustine.

In a move to block national competition, Stone Climbing wants to break ground in October and start construction on its Southside Jacksonville climbing facility in December.

The project is planned along Deerwood Park Boulevard next to the Southeast Regional Library, west of Gate Parkway. It is south of Butler Boulevard from St. Johns Town Center, and east of Interstate 295.

When completed, expected in August 2025, the facility will be the second for owners Eric Hires and John Thousand IV, who opened the first Stone Climbing gym in St. Augustine in 2021.

They both live in St. Augustine.

With success in St. Johns County, “we realized that there is a need for a premiere, modern climbing facility in Jacksonville,” Hires, Stone Climbing CEO and cofounder, said Aug. 27 by email.

It’s also a competitive strategy.

“In an effort to prevent a large, corporate climbing gym from out of state building one, we decided to move fast and keep climbing local in Northeast Florida,” Hires said.

“We’ve seen our model of the climbing gym help so many people thrive and become better versions of themselves. We want to continue to spread that stoke to Jacksonville.”

Hires estimates the total Jacksonville project investment at $6.5 million.

The city issued a concurrency reservation certificate for a 15,163-square-foot project on 1.38 acres. Maverick Engineering of Saint Johns is the civil engineer.

The certificate reserves development capacities for potable water, sanitary sewer, solid waste, recreation, schools and drainage to support the development.

Your Mom’s Holdings LLC will buy and own the site.

Hires is vice president and Thousand is president of Your Mom’s Holdings LLC, which they registered with the state in September 2023. They intend to buy the land at the end of September from the Skinner family.

THE LOCATION

Hires called the location “perfect.”

“It’s so accessible to many parts of Jax including the beaches, UNF, and north Saint Johns. We couldn’t be happier with the spot and love that we’ll be close to The Block Jax too,” he said, referring to the plans by Kanine Social owner and founder Daniel Moffatt to build an outdoor food hall, live music venue and play

park for children, next to a new Kanine Social dog care facility, at southwest I-295 and Butler Boulevard, also south of St. Johns Town Center.

The University of North Florida is at northeast Butler and I-295.

Hires said Urban Partners Construction is the general contractor. He said Connor Dowling, principal at Open City Architecture in St. Augustine, designed the building.

In March, Climbing Business Journal posted a news release that Stone Climbing announced it would build a facility in Jacksonville.

It said it would include 50-foot lead walls, more than 5,000 square feet of bouldering, a MoonBoard and Tension 2 climbing training boards, a fitness center, and a recovery zone with a sauna and cold baths.

The gym includes a weight room, cardio equipment and yoga.

“Keeping with the original location’s clean aesthetic, they will be incorporating artwork, natural light, and Vertical Solutions walls in the design,” the site said.

The release said architect Dowling is a Stone member.

THE FOUNDERS

According to stoneclimbing. com, the facility’s site, Hires has

been climbing for more than 20 years.

“He’s lived out of his truck racking up climbing experience around the country, from the crags of the Southeast to the great American West. In 2015, Eric climbed Yosemite’s El Capitan via The Nose,” it says.

Hires has lived in St. Augustine since 2004. He and his wife, Kayla, live on Anastasia Island with their son, Emmett, two dogs, a cat, and some chickens.

Thousand, who goes by JT, grew up in Colorado and has climbed and explored the front range of the Rocky Mountains for most of his life, the site says.

In 2016, Thousand and his wife, Jenni, moved to St. Augustine from Denver to grow their family dental practice. Dental Specialists of North Florida has offices in St. Augustine and Palm Coast.

The Stone Climbing site says the couple live on Anastasia Island with their two pugs, “climbing on their garage climbing wall.”

Hires is a graduate of Flagler College in St. Augustine.

The Flagler College Gargoyle student newspaper wrote in 2021 that:

“Out of this notebook will come a climbing gym in St. Augustine,” Eric Hires wrote in the first page of his notebook

that would bring to life Stone Climbing, a dream 13 years in the making.

Gargoyle.flagler.edu wrote that in 2008, his visions of one day opening his own climbing gym in St. Augustine began in Paula Holanchock’s entrepreneurship class his senior year at Flagler College.

“Hires began this semesterlong team project that never fully left his mind,” the news site reported.

“Taking the steps to make this dream a reality, Hires made attempts to open a climbing gym in 2012 and again in 2015, finding the right moment in 2021.”

Hires and Thousand filed Saint Augustine Climbing Company LLC with the state Nov. 18, 2019.

THE ST. AUGUSTINE GYM

The St. Augustine Stone Climbing is at 115 Strongway Court, east of Epic Village and Florida 207, south of Dobbs Road Cutoff.

It opens at 11 a.m. daily, closing at 9 p.m. Monday-Saturday and 6 p.m. Sunday.

Individual monthly memberships are $85 with a $50 initiation fee, which is for one person and for one child age 8 or younger.

A monthly family membership is $150, with a $75 initiation fee. That is for two family members, and an additional $40 for a child from 9 to 17 years old. The cost is $190 for families of three or more, with no more than two adults.

Day passes are $20 for a single day or $170 for 10 visits.

In addition to four 16-foot walls, there is a 35-foot “Central Pillar of Frenzy” that the site calls “a tip of the hat to an iconic climb in Yosemite Valley. Top rope or lead climb up our Central Pillar and find as much frenzy as you desire.”

The four walls are The Timo Wall, The Prow, the Zen Wall and The Wave.

There also is a “Grom Grotto” area designed for children.

Special to the Daily Record
The Stone Climbing facility planned along Deerwood Park Boulevard in South Jacksonville will be the second in Northeast Florida.
Hires
Thousand

THE BASCH REPORT

Brand management firms have top bid for Salt Life

The two firms are buying the apparel assets, while the restaurants are not part of the sale.

Two brand management firms submitted the highest bid for the assets of the Salt Life apparel business at a court auction, but they have not indicated plans for the retail chain.

Salt Life, founded in Jacksonville Beach in 2003, operates 28 retail stores. Parent company Delta Apparel Inc. filed a Chapter 11 reorganization petition June 30 in U.S. Bankruptcy Court for the District of Delaware. The Salt Life Food Shack restaurants are not owned by Delta and are not part of the reorganization. The oceanfront Salt restaurant in Jacksonville Beach, which closed over Labor Day weekend, is not related to Salt Life.

As part of the Chapter 11 plan, Delta put the Salt Life apparel assets up for sale in a court auction.

Iconix International Inc. and Hilco Merchant Resources Inc. submitted a joint bid of $38.74 million to acquire the assets at an Aug. 27 court auction. The bid is subject to court

approval at a Sept. 5 hearing.

New York-based Iconix describes itself on its website as “the world’s premier brand management company and owner of a diversified portfolio of strong global consumer brands across fashion, sports, entertainment and home.”

It shows 29 sports, fashion and home brands including Danskin, Starter, Candie’s, Joe Boxer, London Fog, Ocean Pacific and Fieldcrest.

Northbrook, Illinois-based Hilco’s website says it “specializes in the acquisition and re-positioning of under-leveraged iconic consumer and retail brands and/or brand IP.”

Iconix and Hilco have not made any public statements about their plans but documents for their bid filed in court included procedures for store closing sales.

When Delta filed for Chapter 11, it also filed notices under the Worker Adjustment Retraining and Notification Act saying its 15 Florida stores could close if no buyer was found.

The notice for Salt Life’s flagship store in Jacksonville Beach said it has eight employees.

Duluth, Georgia-based Delta acquired Salt Life for $37 million in 2013.

The Salt Life Food Shack res-

taurants in Jacksonville Beach, St. Augustine and Fernandina Beach have separate ownership groups that license the brand, and have never been owned by Delta.

Besides Salt Life, the company sells apparel under the Delta and Soffe brands.

Delta’s most recent financial report, before the bankruptcy filing, showed an adjusted net loss of $24.2 million for the six months ended March 31, with sales falling 27% to $158.9 million.

Salt Life’s sales fell 12% to $25.9 million.

Delta also operated a business called DTG2Go that provided direct-to-garment digital print services for other companies.

The company closed that business in June, before the Chapter 11 filing.

One of its DTG2Go customers was Fanatics Inc., the sports merchandise giant founded in 1995 with a store in the Orange Park Mall and now headquartered in New York.

Fanatics participated in the Aug. 27 auction, bidding $257,834 to acquire 1.289 million units of blank shirts with a Fanatics label held by DTG2Go. That was the only bid for those assets.

When Delta filed its Chapter 11 petition, it said it had a “Stalk-

ing Horse” bid of $28.03 million for Salt Life by an affiliate of Birmingham, Alabama-based Forager Capital Management. FCM did increase its offer at the auction but was outbid by Iconix and Hilco.

If those firms don’t complete the acquisition, FCM has a backup bid of $37 million in place.

Pinsly agrees to buy Texas short line railroad

Jacksonville-based Pinsly Railroad Co. announced Aug. 28 it agreed to acquire Hondo Railway LLC, a short line railroad company in Hondo, Texas, near San Antonio.

Pinsly operates six short line railroads after acquiring four other companies in the past two years.

Hondo provides freight customers with interchange access to the BNSF and Union Pacific rail networks, Pinsly said.

“This railroad and its team are a great addition to the Pinsly family of roads and will further diversify our commodity mix as well as geographic location,”

GreenPointe Developers announces Jade Brown as Division Manager in the North Florida Region. Brown will work collaboratively with the North Florida development team to continue the growth and expansion of the division.

Brown brings more than 25 years of experience in residential and mixed-use community development, construction management and engineering and strategic investment management to Green-

Pinsly CEO Ryan Ratledge said in a news release.

Terms of the deal were not announced.

CSX announces additional union agreements

After reaching agreements covering more than half of its union labor force the previous week, CSX Corp. announced contract agreements Aug. 30 with two more unions: the International Brotherhood of Boilermakers, Iron Ship Builders, Blacksmiths, Forgers & Helpers and the Transportation Communications Union.

The Jacksonville-based railroad company has been working to reach new labor agreements with its unions before the current contracts run out at the end of this year.

“The latest tentative agreements build upon the momentum that we have created alongside our union partners and allows us to solidify the foundation at CSX where every employee feels valued and empowered,” CEO Joe Hinrichs said in a news release.

Like the previously announced agreements, the latest five-year contracts are subject to approval by union members.

Brown is a graduate of Embry-Riddle Aeronautical University where he earned a bachelor’s degree in Civil Engineering. He is a Florida Certified General Contractor and Registered Professional Engineer.

Ratledge

THE WEEK IN DEVELOPMENT

AMUSEMENT, RECREATIONAL

Deercreek Country Club, 7816

McLaurin Road N., contractor is Weyer Custom Renovations Inc., restroom addition, $31,000.

APARTMENTS

Riverside Presbyterian House, 2020 Park St., contractor is Hennessy Construction Services Corp., 74,112 square feet, renovation, $5.32 million.

HOSPITAL, INSTITUTIONAL

Mayo Clinic, 4500 San Pablo Road S., contractor is Auld & White Constructors LLC, 5,835 square feet, renovation for gastrointestinal and bronchoscopy area, $30.15 million.

INDUSTRIAL

Westlake Industrial Park, 11015

Development way, contractor is Becknell Services LLC, 270,716 square feet, new speculative warehouse building, $15 million. Amazon Delivery Center, 450 General Doolittle Drive, contractor is The Conlan Co., 180,865 square feet, mechanical, electrical and structural alteration, $3.75 million.

Westlake Commerce Center, Bldg. 100, 9391 Pritchard Road, No. 100, contractor is ARCO Design/Build, 2,575 square feet, tenant build-out, $554,065.

Flat Glass Distributors Inc., 5355 Shawland Road, contractor is Auld & White Constructors

LLC, 1,500 square feet, restroom addition, $144,230.

Jacksonville Metal Recycling Inc., 4744 Philips Highway, contractor is Jimco Site Services Inc., 10,200 square feet, building demolition, $65,000.

OFFICE, BANK, PROFESSIONAL

ArchWell Health, 5930

Normandy Blvd., contractor is Hoar Construction LLC, 8,740 square feet, health clinic buildout, $3 million.

Petfolk Veterinary & Urgent Care, 4852 Town Center Parkway, No. 108, contractor is Westmoreland Builders LLC,

2,869 square feet, tenant buildout, $650,000.

Jacksonville Executive Jet Center, 985 Charles Lindbergh Drive, contractor is LACMC LLC, 2,058 square feet, renovation, $225,000.

Ware Group Real Estate Holdings LLC, 10550 Deerwood Park Blvd., No. 400, contractor is 3rd Little Pig Construction LLC, restroom renovation, $202,000. JEA, 1002 N. Main St., contractor is Michael Lloyd Hauling Inc., 5,850 square feet, building No. 6 demolition, $166,275.

Century Communities of Florida Realty, 4601 Touchton

Timothy J. McDermott

MEDIATOR | ARBITRATOR

Road E., No. 3100, contractor is Ladson Construction Co., 1,500 square feet, renovation, $125,852. Regency Electric Co. Inc., 6440 Southpoint Parkway, No. 300, contractor is Adams Interior Contractors Inc., 10,081 square feet, tenant build-out, $108,595. Seaton Creek, 15561 Seaton Creek Drive, contractor is Brogdon Builders LLC, new mail kiosk, $82,000. All About Events, 4556 St. Augustine Road, contractor is Course Contracting LLC, 13,000 square feet, interior renovation, $75,000.

Plumbing Partners Inc., 1909 Parental Home Road, No. 1, contractor is Wall Cat Construction LLC, 2,800 square feet, tenant build-out, $28,000.

RESTAURANTS

Pour Taproom and Pizza Dynamo, 28 W. Forsyth St., contractor is Danis Construction LLC, 7,634 square feet, build-out of two restaurants at the VyStar parking garage, $3 million.

SERVICE STATION, REPAIR GARAGE

A&E Jacksonville LLC, 4150 Springrove St., No. 100, contractor is CCMI Corp., 14,071 square feet, convert industrial to auto repair shop, $20,000.

STORES, MERCANTILE EquipmentShare.com Inc., 10714 General Ave., contractor is Scherer Construction of North Florida LLC, 17,076 square feet, new building, $1.2 million. Famous Footwear, 10261 River Marsh Drive, No. 167, contractor is DeJager Construction Inc., 8,023 square feet, renovation, $236,425.

Custom Marine Components Inc., 13755 Atlantic Blvd., contractor is Alpha Foundation Specialists Inc., foundation repair, $29,857.

Sud Stop Car Wash, 1931 Blanding Blvd., contractor is Bay to Bay Properties LLC, dumpster enclosure, $25,000.

The

Coast economy is strong and growing. Gain valuable insights and ensure you’re part of this

&

File photo
The Mayo Clinic in Florida at 4500 San Pablo Road S. is renovating its gastrointestinal and bronchoscopy area at a cost of $30.15 million.

How the Surest Health Plan Helped Improve Access to Care and Lowered Costs

Encouraging a healthier workforce has long been a priority for employers aiming to attract and retain top talent and spur productivity.

To help achieve these goals, many employers are opting for a more modern approach to health benefits like the UnitedHealthcare Surest health plan, which is designed to help improve access to care with the goal of reducing health care expenses.

Here’s a look at how Surest is different from traditional health plans and how this approach may help meet the care needs of employees and bolster your company’s bottom line.

SUREST HELPS REMOVE FINANCIAL BARRIERS TO CARE

According to a 2022 Gallup poll, 38% of Americans avoid or delay health care due to costs. Therefore, making medical services more af-

fordable is imperative to improving access and promoting a more equitable system.

Surest eliminates deductibles and coinsurance and provides upfront cost and coverage information through an intuitive mobile app, so people enrolled in Surest can use their benefits right away, including for low-or-nocost virtual options.

SUREST HELPS MAKE COMPARISON SHOPPING FOR CARE SIMPLER

Surest empowers consumers with the cost and coverage information they need to inform their choices. Surest uses variable copays, which means the copay may vary depending on the care provider and facility selected, with higher-value options assigned a lower copay. Providers are evaluated based on effectiveness, safety and cost efficiency.

The member’s copay may be lower –in some cases by thousands of dollars – if they select a care provider and

facility identified as offering higher-value care. More than 90% of the time Surest members select care providers and facilities that have been evaluated for quality and value1

Surest does this without limiting members’ options in terms of network care providers and without adding additional referral requirements. Surest uses the broad, national UnitedHealthcare and Optum Behavioral Health networks of doctors, hospitals, and clinics.

SUREST IMPROVED ACCESS TO PREVENTIVE CARE

A study showed the Surest plan is making it easier for consumers to access preventive care, which may help identify potential health concerns earlier and may contribute to better health outcomes.

Surest members had a 20% increase in physician visits2 and a 9% increase in preventive physical exams compared to people enrolled in high-deductible plans. That included a 15%

increase in preventive mammograms and a 34% increase in preventive colonoscopies.

SUREST HELPED LOWER TOTAL COST OF CARE

With medical care ranking as the second largest expense for employers behind salaries, it is vital companies maximize the value of their health benefits.

Some employers are achieving that outcome with Surest. Surest can drive impressive savings for employers and employees. Surest members had 54% lower out-of-pocket costs.3

A recent study found the Surest health plan’s copay-driven model allows members to see the full cost of care beforehand leading to lower claim costs exceeding $400 per member per year.4

Surest offers a compelling, proven approach to health benefits, helping empower consumers and simplify the health system.

Nicholas Zaffiris, CEO

Building a business brick by brick

Bricks & Minifigs in Jacksonville Beach sells all things Lego.

If you haven’t stepped on a stray Lego block recently while walking barefoot in the house, let’s say a lot has changed in the world of plastic bricks.

In the old days, when all the toy bricks were about the same size, a kid could build a house that looked like a long, rectangular silo. Today, Lego blocks come in all sorts of shapes, colors and sizes.

Build a house? Now you can build a 3D replica of the White House.

Legos are big business. The company that originated in Denmark in 1949 generated revenue of $9.78 billion in 2023.

Jackson Wagner and his father, John Wagner, are building a business with Lego blocks as its foundation.

Their Bricks & Minifigs store in Jacksonville Beach sells only Lego merchandise.

The franchise at 4004 S. Third St. in the South Beach Regional shopping center is scheduled to open Sept. 7. It sells new and used Lego model kits, Jackson Wagner said.

For customers wanting immediate Lego satisfaction, the Wagners sell premade Lego models of cars, Star Wars-themed items, elegant town homes, aircraft and even towns.

Creative sorts can buy Lego pieces to create nearly anything imaginable.

The store has tables with loose Lego pieces. There is an army of Lego people in glass showcases. The company has made so many of them that if these little people were real people, they’d add 4 billion to the world’s population.

“A lot of people like to build their own stuff and sometimes they need a particular piece or a certain color,” Wagner said.

Lego kits are collectable. A popular kit made 10 years ago and no longer manufactured, for example, will increase in value to collectors. Hard-to-find models can sell for nearly $12,000, Wagner said.

The most expensive figure he has is a thimble-size Princess Leia from a fourth-edition Star Wars set that he’ll sell for $400.

Wagner and his father have invested about $200,000 to buy the franchise and outfit the store.

They are the 183rd Bricks & Minifigs franchise and the only one in Northeast Florida. There is an official branded Lego store at St. Johns Town Center.

The Beaches store will hold its grand opening at 10 a.m. Sept. 7 and will feature Lego giveaways.

Opearting hours will be 10 a.m. to 7 p.m. Monday-Thursday and

10 a.m. to 8 p.m. Friday and Saturday. It will be closed Sundays.

Loose pieces are sold by volume and range from 10-ounce to twogallon bags of Lego bricks.

Besides buying stock from the Bricks & Minifigs company, Wagner buys and trades with area collectors and those around the country. Wagner will search for a special set that a customer might want.

“There are 20- and 30-yearold sets that people had as kids and want them now as adults. But instead of having to deal with eBay or Facebook Marketplace, we’re local and they can come to us,” he said.

Wagner has a separate room for birthday parties.

In the future, there may be Lego competitions to see who can build a model the fastest.

Creators will be able to display

LEGO FACTS

Laid end to end, the number of Lego bricks sold in a year would reach more than five times around the world.

On average there are 80 Lego bricks for every person on earth.

During the Christmas season almost 28 Lego sets are sold each second.

The molds used to produce Lego bricks are accurate to within two-thousandths of a millimeter. There are only about 18 bricks in every million produced that fail to meet the company’s standard.

Lego’s founder, Ole Kirk Christiansen, created the name “Lego” from taking the first two letters of the Danish words leg and godt, meaning “play well.”

Source: natgeokids.com

their latest Lego art at scheduled shows.

While planned obsolescence is the norm these days, Lego blocks manufactured in the 1960s will work with blocks made today.

“Lego may be the largest toy company that just has one product,” Wagner said.

DMACDONALD@ JAXDAILYRECORD.COM 904-356-2466

Photos by Dan Macdonald
Jackson Wagner and his father, John, own the Bricks & Minifigs store at 4004
S. Third St. in the South Beach Regional shopping center.
Bricks & Minifigs buys, sells and trades Lego model kits. The owners invested about $200,000 to buy the franchise and outfit the store.

NOTICE of PUBLIC HEARINGS for AMENDMENTS of LAND USE to THE 2045 COMPREHENSIVE PLAN For SMALL-SCALE

THE CITY OF JACKSONVILLE INTENDS TO ADOP T FOUR (4) SMALL -SCALE LAND USE AMENDMENTS TO THE FUTURE LAN D USE MAP SERIES (FLUMS) OF THE 2045 COMPREHENSIVE PLAN. SPECIFICALLY, THE FO UR (4) PROPOSED AMENDMENTS FROM THE 2024C SERIES FILED BY THE OWNERS, THEIR AUTHORIZED AGENTS, OR THE CITY FOR CERTAIN REAL PROPERTY LOCATED WITHIN THE CITY OF JACKSONVILLE ARE IDENTIFIED BY THE ORDINANCES BELOW.

Pursuant to the provisions of Sections 163.3184 and 163.3187, Florida Statutes and Section 650.406, City of Jacksonville Ordinance Code , public hearings on the proposed amendments have been scheduled as follows:

Citizen Information Meeting (CIM)

To be held virtually via Zoom Tuesday, September 3, 2024

3 p.m.

See website below for notice on how to join or call 904 -255-7800 www.Jacksonville.gov/departments/ planning-and-development/communityplanning-division/land-use-notices

By Jacksonville Planning Commission Acting as Local Planning Agency (LPA)

Thursday, September 19, 2024

1 p.m.

Ed Ball Building

214 N Hogan St., 1st Floor Room 1002

By City Council *

Tuesday, September 24, 2024 5 p.m.

By Land Use and Zoning (LUZ) Committee *

Wednesday, October 1, 2024 5 p.m.

By City Council *

Tuesday, October 8, 2024

5 p.m.

* City Council and LUZ Committee Public Hearings: Council Chambers, 1st floor 117 West Duval Street

If a person decides to appeal any decision made by City Council with respect to the adoption of the proposed amendments, he/ she will need a record of the proceedings and should ensure that a verbatim record of the proceedings is made, which record includes the testimony and evidence upon which the appeal is to be based in order to qualify to participate in administrative proceedings regarding the DEO ’s determination of compliance or noncompliance of this amendment to the 2045 Comprehensive Plan , as adopted, under Chapter 163, Part II, Florida Statutes, that person shall have submitted oral or written objections during local government review and adoption proceedings.

Persons needing special accommodations to attend any hearing noticed shall contact the Legislative Services Division, (904) 630-1404 not less than 48 hours before a hearing or meeting in order to make arrangements.

Attest:

ORDINANCE 2024-667

AN ORDINANCE ADOPTING A SMALL-SCALE AMENDMENT TO THE FUTURE LAND USE MAP SERIES OF THE 2045 COMPREHENSIVE PLAN BY CHANGING THE FUTURE LAND USE DESIGNATION FROM AGRICULTURE (AGR) AND COMMUNITY/ GENERAL COMMERCIAL (CGC) TO CONSERVATION (CSV) ON APPROXIMATELY 45.90± ACRES LOCATED IN COUNCIL DISTRICT 13 AT 0 ATLANTIC BLVD., BETWEEN SAN PABLO ROAD AND THE INTERCOASTAL WATERWAY (R.E. NO(S). 167140-0200), OWNED BY BOARD OF TRUSTEES OF THE INTERNAL IMPROVEMENT TRUST FUND OF THE STATE OF FLORIDA, AS MORE PARTICULARLY DESCRIBED HEREIN, PURSUANT TO APPLICATION NUMBER L-5974-24C; PROVIDING A DISCLAIMER THAT THE AMENDMENT GRANTED HEREIN SHALL NOT BE CONSTRUED AS AN EXEMPTION FROM ANY OTHER APPLICABLE LAWS; PROVIDING AN EFFECTIVE DATE.

ORDINANCE 2024-671

AN ORDINANCE ADOPTING A SMALL -SCALE AMENDMENT TO THE FUTURE LAND USE MAP SERIES OF THE 2045 COMPREHENSIVE PLAN BY CHANGING THE FUTURE LAND USE DESIGNATION FROM RURAL RESIDENTIAL (RR) TO LOW DENSITY RESIDENTIAL (LDR) ON APPROXIMATELY 12.30± ACRES LOCATED IN COUNCIL DISTRICT 2 AT 2109, 2123, 2230, 2241 AND 2248 ED JOHNSON DRIVE, EAST OF YELLOW BLUFF ROAD (R.E. NO(S). 106150-0940, 106150-0970, 106150-1000, 106151-0024 AND A PORTION OF R.E. NO. 106151-0000), OWNED BY DONALDSON INVESTMENTS, LLC, AS MORE PARTICULARLY DESCRIBED HEREIN, PURSUANT TO APPLICATION NUMBER L-5948-24C; PROVIDING A DISCLAIMER THAT THE AMENDMENT GRANTED HEREIN SHALL NOT BE CONSTRUED AS AN EXEMPTION FROM ANY OTHER APPLICABLE LAWS; PROVIDING AN EFFECTIVE DATE.

ORDINANCE 2024-675

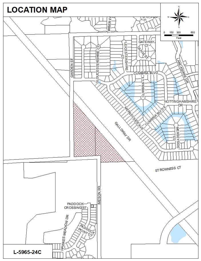
AN ORDINANCE ADOPTING A SMALL-SCALE AMENDMENT TO THE FUTURE LAND USE MAP SERIES OF THE 2045 COMPREHENSIVE PLAN BY CHANGING THE FUTURE LAND USE DESIGNATION FROM LIGHT INDUSTRIAL (LI) TO LOW DENSITY RESIDENTIAL (LDR) ON APPROXIMATELY 14.17± ACRES LOCATED IN COUNCIL DISTRICT 12 AT 0 GARDEN STREET, AT THE NORTHEAST CORNER OF GARDEN STREET AND IMESON ROAD (R.E. NO(S). 003999-0500 AND 003999-0600), OWNED BY DAWN D. MOTES AND KELLY MIKE JAMES AS CO-PERSONAL REPRESENTATIVES OF THE ESTATE OF REGINA JOAN DARLING JAMES, AS MORE PARTICULARLY DESCRIBED HEREIN, PURSUANT TO APPLICATION NUMBER L -5965-24C; PROVIDING A DISCLAIMER THAT THE AMENDMENT GRANTED HEREIN SHALL NOT BE CONSTRUED AS AN EXEMPTION FROM ANY OTHER APPLICABLE LAWS; PROVIDING AN EFFECTIVE DATE.

ORDINANCE 2024-677

AN ORDINANCE ADOPTING A SMALL-SCALE AMENDMENT TO THE FUTURE LAND USE MAP SERIES OF THE 2045 COMPREHENSIVE PLAN BY CHANGING THE FUTURE LAND USE DESIGNATION FROM AGRICULTURE (AGR) TO MEDIUM DENSITY RESIDENTIAL (MDR) ON APPROXIMATELY 41.04± ACRES LOCATED IN COUNCIL DISTRICT 12 AT 0, 14062, 14066 AND 14080 NORMANDY BOULEVARD, BETWEEN NATHAN HALE ROAD AND BELL ROAD (R.E. NO(S). 002258-0310, 002260-0010, 002261-0130 AND 002261-0200), OWNED BY ALVIN L. SMITH AND DARLENE A. SMITH, SIMON HOEK SPAANS AND ALINA GONZALEZ, CYNTHIA J. ROBERTS (LIFE ESTATE) AND CYNTHIA J. ROBERTS, JAMES W. MARTIN AND CHRISTY J. MARTIN, AS MORE PARTICULARLY DESCRIBED HEREIN, PURSUANT TO APPLICATION NUMBER L-5956-24C; PROVIDING A DISCLAIMER THAT THE AMENDMENT GRANTED HEREIN SHALL NOT BE CONSTRUED AS AN EXEMPTION FROM ANY OTHER APPLICABLE LAWS; PROVIDING AN EFFECTIVE DATE.

Persons interested in commenting on these proposed amendments to the 2045 Comprehensive Plan may appear and shall be given an opportunity to speak at the public hearings. The proposed land use amendments, if adopted, will change the permitted uses of these properties and may result in a rezoning of the affected properties. All interested persons are invited and encouraged to review the referenced legislation in this advertisement that indicates the proposed amendments and to appear at the public hearings and be heard regarding the adoption of the proposed amendments. Written comments may be mailed or delivered to the City Council Legislative Services Division, 4 th Floor, City Hall at St. James Building, 117 West Duval Street, Jacksonville, Florida 32202 until the day of the public hearing. Copies of the amendments are available for public inspection at the Council Legislative Services Division and at the Jacksonville Planning and Development Department, 214 North Hogan Street, Edward Ball Building, Suite 300, Jacksonville, Florida 32202. For additional information call (904) 255 -7888. Please visit www.Jacksonville.gov for meeting information and more information regarding COVID-19 procedures/precautions for accessing public buildings.

The Honorable Randy White Jacksonville City Council President Sep. 5 (24-05546D)

Agrihood

Freehold’s 2,300-home Arden community in Wellington, 22 miles of west of Palm Beach, features a 5-acre farm and event barn. It also has a clubhouse with a pool. In Orlando, The Grow is a 1,200-acre mixed-use subdivision centered in a 9-acre farm.

Since 1906, Robinson Improvement Co. of Brunswick, Georgia, has owned the eight parcels where the St. Johns community is planned.

Andrew Smith, vice president of operations of Freehold Communities’ parent company, Freehold Capital Management, said the developer connected with the Robinson family after the its national search for a partner to create an agrihood.

“We just happened to be here in St. Augustine,” Smith said. “They liked what we are doing with Shearwater and they want to develop a similar community to honor their parents,” he said.

“The Robinson family has owned the land for more than 100 years and they will stay involved until the last home is sold. We feel it’s a great partnership.”

Based on a 2.75 person- per-unit calculation, Freehold Communities estimates an

overall population in the community to be 9,163.

The project is divided into the East and West Villages, each with a commercial parcel. The villages may include parks, playgrounds, tot lots, ball fields, playing courts and an amenity center.

NOTICE OF PUBLIC HEARINGS REGARDING

ORDINANCE 2024-699 AMENDING CHAPTER 656 (ZONING CODE), ORDINANCE CODE, CONCERNING THE RENEW ARLINGTON OVERLAY.

The City of Jacksonville proposes to adopt the following ordinance: ORDINANCE 2024-699

AN ORDINANCE CONCERNING THE RENEW ARLINGTON ZONING OVERLAY; AMENDING SECTION 656.399.57 (APPLICABILITY), SUBPART S (RENEW ARLINGTON ZONING OVERLAY), PART 3 (SCHEDULE OF DISTRICT REGULATIONS), CHAPTER 656 (ZONING CODE), ORDINANCE CODE, TO CLARIFY CERTAIN LANGUAGE; AMENDING SECTION 656.399.59 (DEFINITIONS), SUBPART S (RENEW ARLINGTON ZONING OVERLAY), PART 3 (SCHEDULE OF DISTRICT REGULATIONS), CHAPTER 656 (ZONING CODE), ORDINANCE CODE, TO REVISE AND ADD CERTAIN DEFINITIONS; AMENDING SECTION 656.399.62 (CHARACTER AREAS), SUBPART S (RENEW ARLINGTON ZONING OVERLAY), PART 3 (SCHEDULE OF DISTRICT REGULATIONS), CHAPTER 656 (ZONING CODE), ORDINANCE CODE, TO UTILIZE CONSISTENT TERMINOLOGY; AMENDING SECTION 656.399.63 (RENEW ARLINGTON DESIGN REVIEW (“RADR”) TEAM), SUBPART S (RENEW ARLINGTON ZONING OVERLAY), PART 3 (SCHEDULE OF DISTRICT REGULATIONS), CHAPTER 656 (ZONING CODE), ORDINANCE CODE, TO UTILIZE CONSISTENT TERMINOLOGY; AMENDING SECTION 656.399.64 (RA/CRA ZONING OVERLAY ADMINISTRATIVE DEVIATIONS), SUBPART S (RENEW ARLINGTON ZONING OVERLAY), PART 3 (SCHEDULE OF DISTRICT REGULATIONS), CHAPTER 656 (ZONING CODE), ORDINANCE CODE, TO UTILIZE CONSISTENT TERMINOLOGY; PROVIDING FOR AN EFFECTIVE DATE.

A public hearing and a public meeting will be held in First Floor Hearing Room #1002, in the Edward Ball Building, 214 North Hogan Street, Jacksonville, Florida, 32202, or at locations as otherwise provided herein or at www.jacksonville.gov as follows:

Planning Commission Public Meeting 1:00 P.M. Thursday, September 19, 2024

Public hearings and public meetings will be held in the Jacksonville City Council Chamber, 1st Floor, 117 W. Duval Street, Jacksonville, Florida, 32202, or at locations as otherwise provided at www.jacksonville.gov as follows:

City Council Public Hearing 5:00 P.M. Tuesday, September 24, 2024

Land Use and Zoning Public Hearing 5:00 P.M. Tuesday, October 1, 2024

Second City Council Public Hearing 5:00 P.M. Tuesday, October 8, 2024

A copy of the proposed ordinance is available for public inspection in the Legislative Services Division, located on the fourth floor of City Hall, between the hours of 8:00 a.m. and 5:00 p.m., Monday through Friday, and at www.jacksonville.gov through Legislative Bill Search. All interested persons are invited to review the proposed ordinance and to appear at the public hearings and be heard regarding the adoption of the proposed ordinance.

Persons needing special accommodations to attend any hearing noticed hereinabove shall contact the Legislative Services Division at (904) 255-5122 not less than 48 hours before a hearing or meeting in order to make arrangements.

5 (24-05548D)

St. Johns County is reviewing documents that state: “The Robinson Improvement Company (R.I.C.), founded in 1906 by John Robinson, has owned and managed thousands of acres of land in St. Johns County in agricultural, silvicultural and timber use for more than 100 years. The 2,673-acre tract of land is one of the last remaining parcels owned by R.I.C. and has been in continuous timber management for the last 60-plus years.”

The records say “R.I.C. and its heirs wish to develop this land to honor John Robinson’s legacy in St. Johns County. After much research, study and planning, R.I.C. proposes to develop this land as an ‘Agrihood Community’ like no other in St. Johns County.

“This is the best of mixed-use community development principles coupled with an agricultural-centric lifestyle.”

The application says civic and community uses will be permitted in all areas at the site, including parks, schools, community gardens and farms.

Saying plans also call for road and school infrastructure developments, Smith said the development is an example of “growthpaying growth.”

According to its application, the project will be developed in two 10-year phases and development might overlap. Construction would start after PUD ordinance

approval and within five years after Jan. 1, 2026.

England-Thims & Miller Inc. of Jacksonville is the civil engineer. The attorney representing the development is Zach Miller, son of ETM co-founder and Chief Strategy Officer Doug Miller.

According to the Freehold Communities website: “Our developments are largescale residential communities, from urban master plans with well-designed density to completely new developments or thriving neighborhoods with active home sales and build-to-rent properties. Some include attractive mixed-use and creativeoffice components.”

It says that “all are enriched by the best possible amenities. Each one is a Freehold Vital Community, designed to express the trends and preferences of their local market. By partnering with high-quality builders that share our philosophy, we bring our extraordinary vision to life. The result: niche solutions with timeless designs for real people.”

Freehold broke ground on its Shearwater master-planned community in 2015. Freehold also has developments in South Carolina, North Carolina, Tennessee, Texas and California.

BTERRY@JAXDAILYRECORD.COM 904-356-2466

Photo by Brooks Terry
The north side of County Road 214 in St. Johns County where Freehold Communities plans a residential development. The area is between County Roads 208 and 214 west of Interstate 95 south of the St. Augustine Premium Outlets.
Freehold Communities
Arden in Palm Beach County was developed in 2022 by Freehold Communities. It features a central lake, 20 miles of trails and 500 acres of parks, playgrounds, green space and a resort-style pool with a clubhouse.
Smith

CITY GOVERNMENT

JEA board selects outside consultant

K3 Strategies LLC of Sarasota will examine “what we spend on projects and people,” says the city-owned utility’s chief of staff.

The JEA board is hiring an outside consultant to scrutinize the city-owned utility’s operations and maintenance costs and to provide the board with advice on plans to spend billions of dollars on capital projects over the next several years.

In a move with echoes back to a leadership shake-up in April, the board voted 5-0 on Aug. 27 to select K3 Strategies LLC of Sarasota as its “business excellence consultant.”

A board vote in March to seek invitations from consultants prompted questions about whether the board had lost confidence in CEO Jay Stowe. Three weeks later, Stowe resigned and the board named Vickie Cavey as interim managing director and CEO.

JEA Chief of Staff Kurt Wilson said that in hiring the consultant, the board was examining “what we spend on projects and people.” That includes compar-

ing JEA with other similar-size utilities to see if its headcount needs to be reduced or increased.

“In essence, are we doing things right at the right size? Are we best in class? Are there areas of opportunity?” Wilson said.

K3 was among seven consultants who competed for the contract with JEA. A scoring committee named K3 and Deloitte Consulting LLP as the finalists. The board chose K3 after hearing presentations from both.

Board Chair Joseph DiSalvo ranked Deloitte above K3, while board members Rick Morales, John Baker, MG Orender and Robert Stein ranked K3 first.

After a motion to select K3, DiSalvo voted with the majority. Board members Kawanza Humphrey and Zachary Faison Jr. were not present.

JEA will negotiate a contract price with K3.

The consultant will evaluate plans put into motion under Stowe to spend as much as $4 billion over the next several years to help JEA meet increasing demand for utility service in Northeast Florida and adhere to environmental regulations.

The list of projects includes a $2.3 billion upgrade and expansion of the water and sewer sys-

JEA’s old HQ campus Downtown can be listed for sale

The JEA board has taken a step toward selling its former Downtown headquarters campus.

On Aug. 27, the board voted on a resolution declaring the old headquarters as surplus property and authorizing interim managing director and CEO Vickie Cavey to execute a purchase and sale agreement for all or parts of it.

The 2.47-acre campus is at 21 W. Church St., 421 Laura St. and 21 E. Church St. A 2019 Daily Record story reported that at a March 26 board meeting that year, a JEA executive estimated

tem and a high-tech natural gas electric-generation plant with an estimated cost of about $1 billion. The proposed gas plant would allow JEA to close one of its three units at the Northside Generating Station.

“This is the board’s due diligence of making sure that the numbers coming out of staff are accurate,” Wilson said. “If there’s an opportunity to save money, we want to make sure we identify that.”

Wilson said the goal was to insulate customers from rate increases.

“We think we’re doing a great

the properties’ sales price at $20 million to $35.1 million.

The resolution includes a provision that a future sale or transaction associated with the campus will come back to the board for approval, JEA spokesperson Karen McAllister said in an email.

JEA moved out of the old headquarters in 2023 and into its seven-story structure at 225 N. Pearl St. JEA broke ground on the new headquarters in 2020 after three years of planning. Its cost was estimated at $100 million.

job looking at the numbers,” he said. “It would be really nice if a third party came in and either agreed with us. If they disagree, then that’s an area of opportunity, and in the end, it’s a win for our customers in our community.”

In March, then-board Chair Stein likened a consultant to a doctor giving a second opinion. Stein said he suggested bringing in the third party to show the community and City Council that the board was exercising due diligence in its decisionmaking.

Stein made those remarks

weeks after former JEA CEO Aaron Zahn was found guilty of conspiracy and wire fraud during a weekslong trial that raised questions about whether JEA board members who were in place during Zahn’s time as the utility’s leader were too compliant in following recommendations from Zahn and his executive team to explore privatization.

Stein suggested that the highprofile trial had influenced the board’s decision to seek a consultant, saying the trial had put the board under “a bright light in a dark room.”

Top commercial sales of the week

Here

DUVAL

$26,700,000

3728 Philips Highway, Jacksonville

Type: Midway Park flex office/warehouse

Parcel size: 17.94 acres

Building size: 217,787 square feet

Buyer: Midway Park LLC

Seller: ROIB

$5,272,615

380 Islesbrook Parkway, Jacksonville

Type: Ladybird Academy

Buyer: 380 Islesbrook LLC Seller: LBRE I LLC

JOHNS $5,000,000

1, 2024.

$8,800,000 1429 Broward Road, Jacksonville Type: School

size: 37.33 acres

Saint Patrick School

LLC

sale: $2,980,000 in 2013

ST. JOHNS

$6,275,000

305 Outlet Mall Blvd., St. Augustine

Type: Fairfield Inn & Suites

Parcel size: 3.36 acres

Building size: 45,546 square feet

Buyer: Avasa Hotel LLC

Seller: Shaner select Services Hotels V LLC DUVAL

$5,656,560

4809 Plymouth St., 4818

Alpha Ave. and 1175 Randolph St., Jacksonville

Type: Murray Hill Gardens Apartments

Parcel size: 1.8 acres No. of units: 56

Buyer: Murray Hill Village LLC

Seller: Murray Hill Gardens LLC

Previous sale: $2,300,000 in 2017

NOTICE of PUBLIC HEARINGS for AMENDMENTS of LAND USE to THE 2045 COMPREHENSIVE PLAN For SMALL-SCALE

THE CITY OF JACKSONVILLE INTENDS TO ADOP T SIX (6) SMALL-SCALE LAND USE AMENDMENTS TO THE FUTURE LAND USE MAP SERIES (FLUMS) OF THE 2045 COMPREHENSIVE PLAN. SPECIFICALLY, THE SI X (6) PROPOSED AMENDMENTS FROM THE 2023C AND 2024C SERIES FILED BY THE OWNERS, THEIR AUTHORIZED AGENTS, OR THE CITY FOR CERTAIN REAL PROPERTY LOCATED WITHIN THE CITY OF JACKSONVILLE ARE IDENTIFIED BY THE ORDINANCES BELOW.

Pursuant to the provisions of Sections 163.3184 and 163.3187, Florida Statutes and Section 650.406, City of Jacksonville Ordinance Code , public hearings on the proposed amendments have been scheduled as follows:

Citizen Information Meeting (CIM)

To be held virtually via Zoom

Tuesday, September 3, 2024

3 p.m.

See website below for notice on how to join or call 904-255-7800 www.Jacksonville.gov/departments/ planning-and-development/communityplanning-division/land-use-notices

By Jacksonville Planning Commission Acting as Local Planning Agency (LPA)

Thursday, September 19, 2024

1 p.m.

Ed Ball Building 214 N Hogan St., 1st Floor Room 1002

By City Council *

Tuesday, September 24, 2024

5 p.m.

By Land Use and Zoning (LUZ) Committee *

Wednesday, October 1, 2024 5 p.m.

By City Council *

Tuesday, October 8, 2024 5 p.m.

* City Council and LUZ Committee Public Hearings: Council Chambers, 1st floor 117 West Duval Street

If a person decides to appeal any decision made by City Council with respect to the adoption of the proposed amendments, he/ she will need a record of the proceedings and should ensure that a verbatim record of the proceedings is made, which record includes the testimony and evidence upon which the appeal is to be based in order to qualify to participate in administrative proceedings regarding the DEO’s determination of compliance or non-compliance of this amendment to the 2045 Comprehensive Plan , as adopted, under Chapter 163, Part II, Florida Statutes, that person shall have submitted oral or written objections during local government review and adoption proceedings.

Persons needing special accommodations to attend any hearing noticed shall contact the Legislative Services Division, (904) 630-1404 not less than 48 hours before a hearing or meeting in order to make arrangements.

Attest:

G. Lahmeur

Legislative Services

The Honorable Randy White Jacksonville City Council President

ORDINANCE 2023-704

AN ORDINANCE ADOPTING A SMALL-SCALE AMENDMENT TO THE FUTURE LAND USE MAP SERIES OF THE 2045 COMPREHENSIVE PLAN BY CHANGING THE FUTURE LAND USE DESIGNATION FROM LOW DENSITY RESIDENTIAL (LDR) TO COMMUNITY/GENERAL COMMERCIAL (CGC) ON APPROXIMATELY 0.45± ACRES LOCATED IN COUNCIL DISTRICT 5 AT 0 ST. AUGUSTINE ROAD, BETWEEN ST. AUGUSTINE ROAD AND LORIMIER ROAD (R E NOS 130411-0110, 130411-0120 AND 130411-0130), OW NED BY T20 HOLDINGS LLC, AS MORE PARTICULARLY DESCRIBED HEREIN, PURSUANT TO APPLICATION NUMBER L -5859-23C; PROVIDING A DISCLAIMER THAT THE AMENDMENT GRANTED HEREIN SHALL NOT BE CONSTRUED AS AN EXEMPTION FROM ANY OTHER APPLICABLE LAWS; PROVIDING AN EFFECTIVE DATE.

ORDINANCE 2024-660

AN ORDINANCE ADOPTING A SMALL-SCALE AMENDMENT TO THE FUTURE LAND USE MAP SERIES OF THE 2045 COMPREHENSIVE PLAN BY CHANGING THE FUTURE LAND USE DESIGNATION FROM BUSINESS PARK (BP) TO HIGH DENSITY RESIDENTIAL (HDR) ON APPROXIMATELY 2.93± ACRES LOCATED IN COUNCIL DISTRICT 11 AT 0 BAYMEADOWS WAY W., BETWEEN BAYMEADOWS WAY AND INTERSTATE-95 (R.E. NO. 152578-2080), OWNED BY LUXURY TOY VAULT, LLC, AS MORE PARTICULARLY DESCRIBED HEREIN, PURSUANT TO APPLICATION NUMBER L-5970-24C; PROVIDING A DISCLAIMER THAT THE AMENDMENT GRANTED HEREIN SHALL NOT BE CONSTRUED AS AN EXEMPTION FROM ANY OTHER APPLICABLE LAWS; PROVIDING AN EFFECTIVE DATE.

ORDINANCE 2024-663

AN ORDINANCE ADOPTING A SMALL-SCALE AMENDMENT TO THE FUTURE LAND USE MAP SERIES OF THE 2045 COMPREHENSIVE PLAN BY CHANGING THE FUTURE LAND USE DESIGNATION FROM AGRICU LTURE (AGR) TO COMMUNITY/GENERAL COMMERCIAL (CGC) ON APPROXIM ATELY 2.00± ACRES LOCATED IN COUNCIL DISTRICT 12 AT 7827 JONES RD., ON THE SOUTHEAST CORNER OF JONES RD. AND GARDEN ST. (R.E. NO(S). 002893-0040), OWNED BY DAVID WAYNE ESTES, AS MORE PARTICULARLY DESCRIBED HEREIN, PURSUANT TO APPLICATION NUMBER L -5963-24C; PROVIDING A DISCLAIMER THAT THE AMENDMENT GRANTED HEREIN SHALL NOT BE CONSTRUED AS AN EXEMPTION FROM ANY OTHER APPLICABLE LAWS; PROVIDING AN EFFECTIVE DATE.

ORDINANCE 2024-665

AN ORDINANCE ADOPTING A SMALL-SCALE AMENDMENT TO THE FUTURE LAND USE MAP SERIES OF THE 2045 COMPREHENSIVE PLAN BY CHANGING THE FUTURE LAND USE DESIGNATION FROM RESIDENTIAL -PROFESSIONAL-INSTITUTIONAL (RPI) TO BUSINESS PARK (BP) AND LIGHT INDUSTRIAL (LI) ON APPROXIMATELY 2.62± ACRES LOCATED IN COUNCIL DISTRICT 9 AT 0 WILSON BLVD., BETWEEN OLD MIDDLEBURG RD. AND FOURAKER RD. (R.E. NO(S). 012499-0000), OWNED BY LANDEN’S WALK, LLC, AS MORE PARTICULARLY DESCRIBED HEREIN, PURSUANT TO APPLICATION NUMBER L -5953-24C; PROVIDING A DISCLAIMER THAT THE AMENDMENT GRANTED HEREIN SHALL NOT BE CONSTRUED AS AN EXEMPTION FROM ANY OTHER APPLICABLE LAWS; PROVIDING AN EFFECTIVE DATE.

ORDINANCE 2024-669

AN ORDINANCE ADOPTING A SMALL-SCALE AMENDMENT TO THE FUTURE LAND USE MAP SERIES OF THE 2045 COMPREHENSIVE PLAN BY CHANGING THE FUTURE LAND USE DESIGNATION FROM RURAL RESIDENTIAL (RR) TO LOW DENSITY RESIDENTIAL (LDR) ON APPROXIMATELY 2.48± ACRES LOCATED IN COUNCIL DISTRICT 8 AT 16485 AND 16535 MAIN STREET N., BETWEEN POND RUN LANE AND YELLOW BLUFF ROAD (R.E. NO. 108194-0000 AND 108098-0000), OWNED BY VISION BAPTIST CHURCH, INC. AND FLA TRUST SERVICES, LLC AS TRUSTEE OF FLORIDA LAND TRUST, PURSUANT TO APPLICATION NUMBER L -5951-24C; PROVIDING A DISCLAIMER THAT THE AMENDMENT GRANTED HEREIN SHALL NOT BE CONSTRUED AS AN EXEMPTION FROM ANY OTHER APPLICABLE LAWS; PROVIDING AN EFFECTIVE DATE.

ORDINANCE 2024-673

AN ORDINANCE ADOPTING A SMALL-SCALE AMENDMENT TO THE FUTURE LAND USE MAP SERIES OF THE 2045 COMPREHENSIVE PLAN BY CHANGING THE FUTURE LAND USE DESIGNATION FROM MEDIUM DENSITY RESIDENTIAL (MDR) TO BUSINESS PARK (BP) ON APPROXIMATELY 0.21± ACRES LOCATED IN COUNCIL DISTRICT 9 AT 735 CANAL STREET, BETWEEN BROADWAY AVENUE AND MCQUADE STREET (R.E. NO. 077359-0000), OW NED BY 4149 ST. AUGUSTINE ROAD, LLC, AS MORE PARTICULARLY DESCRIBED HEREIN, PURSUANT TO APPLICATION NUMBER L-5964-24C; PROVIDING A DISCLAIMER THAT THE AMENDMENT GRANTED HEREIN SHALL NOT BE CONSTRUED AS AN EXEMPTION FROM ANY OTHER APPLICABLE LAWS; PROVIDING AN EFFECTIVE DATE.

Persons interested in commenting on these proposed amendments to the 2045 Comprehensive Plan may appear and shall be given an opportunity to speak at the public hearings. The proposed land use amendments, if adopted, will change the permitted uses of these properties and may result in a rezoning of the affected properties.

All interested persons are invited and encouraged to review the referenced legislation in this advertisement that indicates the proposed amendments and to appear at the public hearings and be heard regarding the adoption of the proposed amendments. Written comments may be mailed or delivered to the City Council Legislative Services Division, 4 th Floor, City Hall at St. James Building, 117 West Duval Street, Jacksonville, Florida 32202 until the day of the public hearing. Copies of the amendments are available for public inspection at the Council Legislative Services Division and at the Jacksonville Planning and Development Department, 214 North Hogan Street, Edward Ball Building, Suite 300, Jacksonville, Florida 32202. For additional information call (904) 255-7888. Please visit www.coj.net for meeting information and more information regarding COVID-19 procedures/precautions for accessing public buildings.

LAW & THE COURTS

Former Gator Patric Young to speak to JBA on Sept. 17

Paralyzed in an automobile accident, he leads the PY4Foundation for people with disabilities.

Former University of Florida basketball player Patric Young is the guest speaker for the Jacksonville Bar Association’s member luncheon Sept. 17 at the Doubletree by Hilton Jacksonville Riverfront.

A member of the UF men’s basketball team from 201014, Young became the 50th 1,000-point scorer in Gator history and finished his career 27th on the all-time scoring list with 1,307 points.

Young became the Southeastern Conference’s first threetime Scholar Athlete of the Year, receiving the recognition in 2012, 2013 and 2014.

After graduating, the 6’10” center played for several NBA developmental teams and internationally in Turkey, Greece and Italy before he was involved in an automobile accident in 2022 that left him paralyzed from the waist down.

Young now is a motivational speaker and leads the PY4Foundation, which offers support to people facing life-altering events

and the financial and mental challenges caused by loss of limbs or paralysis. Visit jaxbar.org to register.

Graders needed for essay contest

The 2024 U.S. District Court, Middle District of Florida, Jacksonville Division High School Essay Contest, sponsored in part by the Jacksonville Federal Court Bar Association, is seeking volunteer graders.

Student essays are due Sept. 29 and graders will have until Oct. 21 to complete their scoring.

Participating students, their teachers and schools have a chance to win cash prizes.

First place will receive $2,000; second place, $1,000; and third place, $500. Fourth through 10th places each will receive $150.

Teachers of the top three winners each will receive a $500 classroom grant. The school with the most submissions will receive a $1,000 award.

Essays are being submitted by ninth-12th grade students in Baker, Bradford, Clay, Columbia, Duval, Flagler, Hamilton, Nassau, Putnam, St. Johns, Suwannee and Union counties.

Contact Kirsten_Clement@ flmd.uscourts.gov to register as a grader or for more information.

Blair joins Gunster Yoakley & Stewart

Gunster Yoakley & Stewart announced that Tadd Blair joined the firm as an associate business litigation attorney in its Jacksonville office.

Blair’s practice focuses on litigation in the construction and transportation industries and issues involving government procurements and the energy sector.

Blair served for 13 years in the Navy Judge Advocate General Corps, where he advised senior military leaders on legal matters involving multinational operations and exercises. He also represented individual service members in court and administrative proceedings. He continues to serve in the Navy Reserve.

A 2008 graduate of the University of Kansas School of Law, Blair was admitted to The Florida Bar in May 2024.

Applicants sought for state Judicial Qualifications Commission

The Florida Bar board of governors is seeking applicants to fill two vacancies on the Florida Judicial Qualifications Commis-

on September 19th

SEPTEMBER 19TH

sion. The vacancies will be filled during the board’s Dec. 13 meeting. Lawyer applicants must be members of the Bar and in good standing.

The new commissioners will serve six-year terms beginning Jan. 1, 2025, and expiring Dec. 31, 2030.

The 15-member commission is authorized under Article V, Section 12, Florida Constitution, to investigate complaints against judges whose conduct is alleged to demonstrate unfitness to hold office and to recommend disciplinary action to the state Supreme Court.

No member of the commission, except a judge, shall be eligible for state judicial office while acting as a member of the commission and for a period of two years thereafter. No member of the commission shall hold office in a political party or participate in any campaign for judicial office or hold public office, provided that a judge may campaign for judicial office and hold that office.

Visit https://www.floridabar.org/about/bog/ bog007/#applications to download the application. Applications will be accepted until the close of business Oct. 14, 2024.

The board will review all applications and may request

telephone or personal interviews.

Jacksonville attorney’s license revoked

The state Supreme Court in recent court orders disciplined five attorneys, disbarring one, revoking the license of one, suspending two and emergency suspending one.

One attorney practices in Jacksonville.

Shaquandra Arita Woods, P.O. Box 7115, Jacksonville, received disciplinary revocation with leave to reapply for readmission effective 30 days following an Aug. 22 court order.

On Feb. 2, 2022, Woods was indicted on four counts of conspiracy to commit wire fraud and other charges arising from her role in a wide-ranging COVID-19 relief fraud scheme.

On Dec. 8, 2023, Woods was found guilty by a jury of conspiracy to commit wire fraud in violation of 18 U.S.C. § 1349. Woods may apply for readmission in five years and is ordered to reimburse The Florida Bar $1,360.70 for costs related to revocation of her license to practice law.

The conviction is on appeal.

Donna Deegan Jacksonville Mayor Ari Jolly Florida Blue Dr. Johnnetta Betsch Cole
Blue in Jacksonville,

A VENT ABOUT 11TH-HOUR DELAYS

PRO BONO

One volunteer, two success stories

Attorney volunteer Jineane McMinn helps a retired widow end a lawsuit and a grandmother seeking temporary custody of her grandchildren. PAGE 17

COMMENTARY

The path to rejuvenation

Forest bathing offers a natural remedy to help attorneys re-energize and perform at their best. PAGE 16

One of my duties as president of the Jacksonville Bar Association is to write an article each month to be included in the Bar Bulletin.

Usually, my goal is to inspire –or at least slightly entertain – the readers.

That may prove to be difficult in all 12 articles during the coming year.

So, please bear with me this month as I do my best Andy Rooney impersonation and pontificate by sharing with you frustrations that have occurred in my practice recently.

Before allowing myself to vent in writing this

article, I want to recognize that the vast majority of attorneys involved in litigation do things the right way and do not take advantage of the system. However, I admit to mounting frustration with those that ignore the mandate that “a lawyer may not use means that have no substantial purpose other than to [] delay” (R. Regul. FL. Bar 4-4.4(a)), and our duties to “maintain the respect due to courts of justice” and to “pledge fairness, integrity and civility” to adverse parties and their counsel, as we all swore to do when taking the oath as an attorney of The Florida Bar.

SEE GEORGE, PAGE 19

JBA BOARD OF GOVERNORS

Changes to civil practice are here

Changes that aim to promote the fair and timely resolution of civil cases call for the reporting of case management data, active judicial case management and strict limitation of continuances. PAGE 18

The convocation: Beginning the legal education journey

The most powerful tool humans have ever known is a legally trained mind.

At the Jacksonville University College of Law, we don’t waste any time getting our students into the courtroom. Each year, we celebrate our convocation ceremony in the Duval County Courthouse, where our firstyear students take their Oath of Professionalism alongside their

classmates, and in front of proud family, friends, faculty, staff and university leadership.

During convocation, I address our 1L students as they prepare to embark on their law school journey. Here is an excerpt from my words to our Forty Foursyths at this year’s convocation: To begin, I have a question for you to think about. Where do you see justice? Do not get used to it, law school is not like this, but on this big day I will go easy on you and give you a good answer to my

question. Look around you at your classmates. That is where you can see and will find justice. That is where I can, and others will see justice. We see and know it is in your minds, hearts, and spirit because you have decided to learn how to use the most powerful tool humans have ever known, a legally trained mind. As the oath you will take in a few moments underscores, you have decided to join the honorable profession. That choice will not only enable you to do well

but to do good. The privileges and respect you deservedly will earn come with responsibilities to serve the public good. So, we thank you for making law your life’s work. At present in America, we the people have arrived at an inflection point where we cannot take for granted our established democratic institutions, norms, liberties, safety, and even our very existence. By upholding the rule of law,

The value of voluntary trial resolution

known as trial resolution judges.

This process, called voluntary trial resolution, applies to all civil disputes except for those that pertain to constitutional questions, child custody issues, visitation, child support or any dispute which involves the rights of a third party when the third party would be an indispensable party.

The process begins when parties agree in writing to submit the controversy to a trial resolution judge.

The trial resolution judge is then either chosen by the parties or, in the absence of an agreement, appointed by the court.

Any member of The Florida Bar in good standing for more than five years can serve as a trial resolution judge.

As a former judge and current mediator/arbitrator, I thought I knew all the available methods to resolve cases. However, there is one procedure that has remained somewhat elusive to me, as well as to some other legal professionals.

Section 44.104 of the Florida Statutes permits certain matters to be decided by private judges

The trial resolution judge may administer oaths and issue subpoenas for the attendance of witnesses and for documents. Moreover, the trial resolution judge has full authority to determine any question presented and to render a final decision.

One of the objections that I have heard regarding the arbitration process concerns the lack of

rigid evidentiary requirements. Arbitration is often believed to be a quasi-legal free-for-all. Unlike some forms of arbitration, voluntary trial resolution utilizes the Florida Rules of Evidence. Thus, it creates a structured process in the same fashion as a traditional trial.

Another question that comes up is whether voluntary trial resolution allows for a jury trial. Section 44.104 is silent as to whether a jury trial is permitted.

However, because there is no express prohibition, this constitutional right remains preserved.

This is further supported by the administrative orders in at least two Florida Circuit Courts. Namely, the 6th Judicial Circuit (Pasco and Pinellas Counties) and the 13th Judicial Circuit (Hillsborough County) have administrative orders in place that establish specific jury procedures for voluntary trial resolution.

Parties proceeding under Section 44.104 maintain appellate rights. Unless a constitutional issue is raised, the harmless error doctrine applies to any appeal initiated from a voluntary trial

resolution proceeding.

Practically speaking, although there is a fee component to the voluntary trial resolution process, it also has benefits which, in some circumstances, may outweigh the additional costs.

This process alleviates the need to wait an extended time through a strained court docket.

More important, this process gives parties the ability to select an individual with particular knowledge and skill sets for specialized areas of law (i.e., construction law and complex business litigation), as opposed to a judge who may have minimal or no knowledge of the subject matter.

In summary, while a trial resolution judge may not be an option for every legal dispute, there are certainly situations where parties can benefit from voluntary trial resolution.

Bryan Rendzio is a former 7th Circuit judge. He is board certified in construction law by The Florida Bar and now serves as a full-time neutral at Miles Mediation & Arbitration.

Forest bathing: A natural way to rejuvenate

ensures you are giving your best effort and attention.

This mindfulness sets the foundation for success, enabling you to navigate the complexities of your profession with clarity and focus.

BE THE ONE WHO HAS AND GIVES ENERGY

Energy is contagious. By fostering a positive and vibrant atmosphere, you can significantly impact those around you.

Even on challenging days, bringing enthusiasm and a positive attitude can uplift others and create a productive environment.

phytoncides released by trees may boost immunity and reduce stress. Aromatherapy from natural scents further enhances mood and well-being.

In today’s world, clients seek legal partners who possess great technical skills and a positive mental attitude, warm spirit, empathy, enthusiasm, passion and discipline.

COMMITTEE

MEETINGS

For all meetings, register at jaxbar.org

SEPT. 5 Family Law

5 p.m., Sussman, Johnson & Alvarez, 1200 Riverplace Blvd., Suite 850.

SEPT. 17

Environmental & Real Property Law Noon, Jacksonville Bar Association office, One Independent Drive, Suite 120.

UPCOMING EVENTS

For events, register at jaxbar.org

SEPT. 10

Young Lawyers Institute: Circuit Criminal Noon, Jacksonville Bar Association office.

1.0 CLE, 0.5 professionalism, 1.0 criminal

In the fast-paced world of law, stress is often a constant companion. However, the practice of forest bathing offers a natural remedy to help attorneys re-energize and perform at their best.

To be your best, you must be present.

This simple yet powerful concept underscores the importance of being fully engaged in the moment. Whether it’s a team meeting, a court appearance or a critical project, being present

As a corporate immigration attorney, my team and I strive to be outstanding partners to our clients and community by providing responsive, proactive and engaging services with passion, warmth and empathy.

Our commitment ensures our clients can hire and retain top foreign talent smoothly, making the complex immigration process easier.

To be our best for ourselves and our clients, we implement various stress-reduction strategies, to be present, promote positivity, and create energy.

Forest bathing, rooted in the

Japanese practice of shinrinyoku, involves immersing oneself in the forest atmosphere. It’s not about hiking but about slowing down and engaging all senses to connect deeply with nature.

Research suggests that forest bathing can reduce stress hormones, enhance immune function and lower depression levels.

BENEFITS FOR ATTORNEYS

For people who often face high-stress environments, forest bathing can be particularly beneficial. The practice encourages mindfulness, helping to redirect attention from negative thoughts and promote a positive mental state.

The high oxygen level in forests, due to photosynthesis, benefits brain function, while

Achieving this balance requires attention to both mind and body. Forest bathing offers a natural, accessible way to nurture these qualities.

Take a step toward better mental and physical health. Find a peaceful forest, nature trail or park. Leave your devices behind and immerse yourself in the sights, sounds and smells.

By embracing forest bathing into your routine, you can rejuvenate and bring your best self to your practice, fostering a more vibrant and successful legal career.

Giselle Carson is a shareholder with Marks Gray who practices U.S. corporate immigration and compliance. She is a former Jacksonville Bar Association president and holistic wellbeing advocate.

Hurricane Debby creates opportunities

cases will start coming in, but we hope to have volunteers on standby and ready.

If this is not up your alley, consider volunteering with Three Rivers in another way: Telephonic Housing Clinic is offered 5-6 p.m. every Tuesday. Advice-only appointments are scheduled for 45 minutes. TRLS staff screen and schedule clients, notifying volunteers of their assignments on the Friday (or Monday) prior to the clinic.

Volunteers are needed to help storm victims with insurance and FEMA claims.

Parts of Florida were recently hit hard by Hurricane Debby. While the storm was not as deadly or damaging as it could have been, there is no doubt that residents will be recovering for the foreseeable future.

It is frequently following a disaster that programs like ours see the amazing heart of the legal community. Attorneys, law students, and paralegals reach out en masse to offer pro bono support to those affected by the disaster.

Through insurance claims and FEMA claims, housing repairs, loss of property and jobs, and other impacts, our clients will face a host of challenges in the upcoming weeks and months.

If you would be interested in learning more about FEMA appeals and/or are interested in volunteering with insurance claim denials, let me know and I will get you on a list of volunteers. We can only guess when the

Issues involve private landlord/tenant issues such as eviction, repairs and security deposits. Volunteers complete an online form during the call so that TRLS knows what advice was given and if any follow-up by TRLS is needed.

Pro Se Divorce Clinics are offered every three months in Jacksonville and involve a session at 9 a.m. and another at 2 p.m. Volunteers are asked to attend one of the sessions to help pro se filers complete the financial affidavit (short form), petition, and the UCCJEA, and by answering questions about the pro se divorce process.

The next clinic in Jacksonville is scheduled Nov. 19 and the next clinic in Fernandina Beach is Nov. 21.

Through our Advice and Counsel/Brief Services, attorneys can provide limited scope assistance to individuals.

We are in constant need of volunteers to work with clients, one-on-one, to complete pro se divorce packets.

We also generally have folks in need of advance directivesdrafting last wills and testament, health care surrogates, powers of attorney, living wills, and preneed guardianships. These cases can be handled remotely with

documents notarized/witnessed at the TRLS office, by appointment.

Finally, you can take on a client matter for full representation in a variety of areas including bankruptcy, special education, family, housing/property, consumer, income maintenance, and trusts and estates.

We are in particular need of attorneys to assist with probate cases, guardianship and guardian advocacy, and landlord/tenant.

There are several benefits to completing your service with Three Rivers Legal Services.

First, we screen all clients for eligibility and legal issues. If the client tries to have you do anything beyond the scope of the referral, you can just refer them back to us.

Second, we gather documents and information to get you started. We can also assist you through the process.

Three Rivers can also partner you with a law student, who can help with research, drafting documents and conducting client interviews.

Third, we provide support by way of answering questions,

reviewing documents, sharing resources and training materials, and mentorship by our experienced attorneys.

We also provide all volunteers with legal malpractice coverage at no charge to you.

Finally, we track your hours, recognize you in publications and can even nominate you for local, state, and national pro bono awards.

Why it matters: Two success stories

sumer-related issue and a family law matter.

McMinn first consulted with a retired widow who was being sued in small claims court for a small amount of old credit card debt. The debt was so old, it had been sold three times to different servicers. Thankfully, the client’s assets were protected from the creditor’s claims.

If you have any questions, or would like to participate in any of the above, contact us at volunteer@trls.org. AARON

JACKSONVILLE

Attorney Jineane McMinn stands in the gap for the underserved community.

In last month’s Bar Bulletin, I wrote about Jacksonville Area Legal Aid’s Ask-A-Lawyer clinic at the Brentwood Branch Library. The clinic was a huge success and several attorneys accepted cases for ongoing pro bono representation.

Jineane McMinn is one of our attorneys who did just that. In fact, she accepted not one but two cases at the clinic, a con-

McMinn represented the client and successfully had the case dismissed. Her representation not only helped rid the client of this anxiety, but it also prevented any judgment against her.

Many people, especially the elderly, are targeted and sued by these creditors, and debtors are unaware of their rights to protect their assets.

McMinn also consulted with a grandmother who is the primary caretaker of her grandchildren, ages 9 and 10. Sadly, their parents passed away and the grandmother needed representation to obtain temporary custody of the children.

Without custodial rights, the grandmother was unable to seek medical care for her grandchildren, apply for benefits on their behalf, nor enroll them in school.

protected assets, and for the other, it was matter of ensuring heartbroken children are in a safe, stable family unit,” McMinn said.

When asked how she first became involved in pro bono work, McMinn said “the Florida Bar challenges us to serve by handling at least one pro bono case a year, and so I began volunteering and representing clients early on in my practice.”

A graduate of Florida Coastal School of Law, McMinn began practicing in 2012. An attorney at Miller Hahn, her primary areas of practice include admiralty and maritime law, corporate, personal injury and estate planning.

After speaking with the grandmother at the clinic, McMinn immediately accepted her case for pro bono representation and in less than two months obtained a court order providing custodial rights to the grandmother.

“It was a privilege to help these two ladies. For me, this was routine practice, but for these ladies, it was a matter of preventing a widow from being harassed by a judgment collector and potentially turning over

Her pro bono work portfolio includes cases involving temporary custody matters, name changes, small claims disputes, estate planning, contract review, demand letters and even a defamation defense case.

So far this Bar year, McMinn has dedicated 30 hours to pro bono work through JALA, which equates to about $9,000 in free legal services for the benefit of our community.

The Florida Bar’s annual

reporting period is July 1 through June 30 and during this time, the aspirational goal for attorneys is to perform at least 20 hours of pro bono work.

McMinn continues to be involved in pro bono work because “It is rewarding to represent someone and truly be able to help them when they are unable to navigate the court system alone,” she said.

“I encourage my colleagues in the legal community to take on pro bono cases with the bigger picture in mind of the potential ramifications for the client, if not for your representation. It puts things in perspective of how we can make a difference and stand in the gap for the underserved community,” McMinn said.

I hope that McMinn’s commitment to pro bono inspires you to get involved with JALA’s Pro Bono Unit.

For those interested in getting involved, visit jaxlegalaid. org/pro-bono where you can find several volunteer opportunities, including cases awaiting placement.

Special to the Daily Record
Florida Coastal School of Law graduate Jineane McMinn is an attorney at Miller Hahn.
Cedar Key Fire Rescue
Cedar Key Fire Rescue posted this image of flooding from Hurricane Debby on Aug. 5. Cedar Key is 57 miles southwest of Gainesville along the Gulf of Mexico.

Rules amended to streamline case management in Florida

It is imperative to study the changes and evaluate their impact on your practice.

In January 2022, I authored an article in the Bar Bulletin regarding a series of proposed changes to civil practice in Florida. At the time, the state Supreme Court was preparing to review a series of amendments portending “seismic” changes.

Those changes are now upon us and mostly slated to go into effect Jan. 1, 2025.

This article attempts to offer a high-level summary of the changes but cannot substitute for a careful reading of the precise language of each rule change.

The operative rulings summarized herein are SC2023-0837, SC2023-0962 and SC20240662. While there have been other important rulings, these three filings arguably reflect the most pivotal of the court’s recent rule changes.

Generally, the changes, which aim to promote the fair and timely resolution of civil cases, call for the reporting of case management data, active judicial case management and strict limitation of continuances.

The changes also tend to align Florida’s rules with federal meet and confer and discovery practices.

As of July 1, 2024, the court has effected changes to the Florida Rules of General Practice and Judicial Administration.

Now, under Rule 2.250(a), the court has established presumptively reasonable time standards to bring an action to

LEGAL BRIEFS

Need CLE hours? Check out the JBA website

trial. Specifically, setting aside complex cases, jury trials are to be completed within 18 months and nonjury trials within 12 months, each deadline running from the date of service of initial process on the last defendant or 120 days from commencement of the action.

Under Rule 2.250(b), the court has established quarterly reporting requirements triggered by the referenced time standards and annual reporting requirements relating to cases that have been pending for three years or more.

Moreover, Rule 2.215(f)(1) now requires monthly reporting of matters held under advisement for more than 60 days.

The court’s most significant changes to Florida Rules of Civil Procedure are slated to go into effect Jan. 1, 2025.

Under new rule 1.200, within 120 days of filing, every civil case (unless it falls within a specified exemption) is to be assigned to one of three case management tracks (complex, general, or

The Jacksonville Bar Association has a CLE video library where you can purchase online CLE presentations and get those CLE credits you need in the convenience of your home or office.

You may choose from as few as 0.5 CLER hours to as many as 8.0 CLER hours, including various certification hours. Just select the videos that correspond with the CLE credits you need, purchase them, watch online and submit for credit.

Topics include family law, technology law, transactional law and professionalism for new practitioners. Visit jaxbar.org/store

streamlined).

New rule 1.440(a) will eliminate the “at issue” requirement to set a trial.

In every streamlined or general case, courts will issue a case management order reflecting deadlines for discovery, pretrial motions, mediation and the projected or actual trial period (new rule 1.200(d)). Courts will set trials 45 days before any projected trial period (new rule 1.400(c)(2)).

These deadlines “must be strictly enforced unless changed by court order” but parties may “submit an agreed order to extend a deadline if the extension does not affect the ability to comply with the remaining dates in the case management order.” (new rule 1.200(e)(1)).

Motions to continue trial will be disfavored and rarely granted (new rule 1.460). Unless made at trial, continuance motions must be signed by the moving party (rather than its attorney) and made promptly after the discovery of good cause necessitating a

Keep involved in the JBA

The driving force behind this organization is the active participation of its members. Please give the association the benefit of your ideas and talents by volunteering to serve on one or more of the committees shown on the JBA website. With your active involvement, this association will flourish. To join or change your committee preferences, open your web profile at jaxbar.org and click on “Join a Committee.”

continuance (new rule 1.460(b) & (c)).

The motion must identify (1) the basis for the continuance, stating when the movant became aware of the basis, (2) whether the motion is opposed, (3) necessary actions so that the movant can be ready for trial by the proposed date and (4) the proposed date by which the case will be ready for trial (new rule 1.460(d)).

Courts will attempt to address issues causing delay, including requiring depositions to preserve testimony, allowing remote appearances and resolving conflicts with other trials (new rule 1.460(e)).

Courts may impose sanctions on parties and attorneys if a continuance is granted based upon their dilatory conduct (new rule 1.460(g)).

Moreover, when ruling on a motion to continue, courts will state the factual basis for the ruling in the order or on the record (new rule 1.460(h)). Orders granting continuances must

Key reasons to renew your JBA membership

Bench & Bar Holiday Party free to members

General and Law Day luncheons free to members

Annual golf tournament

Free committee participation

Access to Attorney Conference Center, Duval County Courthouse

Bar Bulletin – First Thursday monthly edition of the Jacksonville Daily Record

CLE seminars at reduced rates

Optional Lawyer Referral Service membership

Savings on exclusive member benefits JBA E-News member email

Free listing in website directory with photo

either set a new trial date or set a case management conference and must indicate what further activity will or will not be permitted (new rule 1.460(h)).

With few exceptions, new rule 1.202(a) will require parties to meet and confer prior to filing a motion. Movants will file a certificate of conferral with their motion (new rule 1.202(b)).

Under new rule 1.200(j), case management conferences, whether set by the court or requested by a party, will take on enhanced significance. Specifically, at such conferences, the court will be authorized to address any pending motions other than motions for summary judgment and motions requiring evidentiary hearings (new rule 1.200(j)(2)).

New rule 1.280 will require initial disclosures and incorporates the proportionality language of Rule 26, Federal Rules of Civil Procedure.

A party’s initial disclosure, generally due within 60 days after the service of a complaint or joinder, will include disclosing potential witnesses, relevant documents, computation of damages and applicable insurance policies (new rule 1.280(a)).

New rule 1.280(g) will impose an ongoing duty to supplement initial disclosures and discovery responses in a timely fashion. Finally, in an amendment to Rule 1.150(c)(5), responses to motions for summary judgment will be due within 60 days of service of the motion (rather than 20 days prior to the hearing).

Given the extent of the rule changes and need to strictly adhere to case management deadlines, the new rules will undoubtedly have a significant impact on civil litigation practice in Florida.

It is therefore imperative that practitioners study the rule changes and evaluate their impact on pending and anticipated actions.

Asghar Syed is treasurer of the Jacksonville Bar Association and a shareholder with Gunster. His practice focuses on commercial litigation.

File photo
The Florida Supreme Court in Tallahassee.

Allard: Learning how to make a positive difference

practitioners, legal educators, and you, future lawyers can play a critical role, making both history and the future. You can help us prevent the story of our longstanding democratic republic coming to a tragic end, remain on the right side of history, and keep on track for better tomorrows.

That is the essence of what lawyers do by remaining true to themselves and the people they serve while reconciling disagreements and solving problems. They do so as teachers, exemplars, and advocates for the shared values of our Constitutional democracy in pursuit of effective limited self-government, equal justice, and the well-being of all people and the world we share.

Understandably, engulfed by disheartening worrisome news coming at us from all directions, it may be hard for any of us to focus and keep working through the daily grind.

It is tempting to ask: “What’s the point? The world seems to be crumbling like there will be no tomorrow and the tough predicaments of our time seem hopeless. Why bother?”

It helps to realize that the world never has been perfect, and it never will be. It also helps to remember the purpose of your studies.

Remember that what you are studying can make the world a different, better place and contribute to history’s steady slow rising arc of progress.

Maintaining our democratic republic, when the nation is made up of people with stubbornly heartfelt, legitimate, deep differences in needs, wants and beliefs, is a tough job.

Keeping the U.S. in good working order requires constant effort, patience and time to build consensus through negotiation and coalition building as well as intentional public discourse about civic responsibilities and virtues.

Lawyers know, and students in law schools are learning, how to make a positive difference in the service of public interests. They will be equipped to midwife the rebirth of participatory democracy and informed selfgovernment with their hallmark professional tools of civility, collaboration and cooperation.

Lawyers press the great lever of progress through their daily work on matters small and large, private and public, for rich and poor, while promoting access to

quality affordable legal services including spending a significant amount of time working for free.

They facilitate the essential informed consent of the governed to be governed by fulfilling their professional responsibility to educate the public about the rule of law, and about how our brilliant cantilevered selfcorrecting system of constitutional government and justice is supposed to work. You will be teachers who will be living that mouthful of words.

Lawyers also can help broker desperately needed reconciliations even among the most hostile divided adversaries. They set examples for people to emulate about how to disagree agreeably. And they can promote greater

understanding about the benefit of outcomes where all interested parties gain by giving away some of what they wanted.

It is not easy work and is not for everyone. Yet for those who have the ability, creativity and dedication to become lawyers, it can be an extremely satisfying career, a wonderful life.

Remember, you do not have to do it alone. Rely on your classmates and our upper class students to help you, work together, be kind and be supportive of each other.

And your world class faculty, our outstanding senior administrators and staff want you to succeed. Help them help you by asking them questions and seeking their assistance.

The law is neither a light nor an instrument of any kind to be used to gain an advantage for any person or group.

In the words attributed to a great lawyer for all seasons, Sir Thomas More: “The law is a causeway upon which, so long as he keeps to it, a citizen may walk safely.”

Lawyers are the guardians of the guardrails for that refuge, in tough times a safe bridge over troubled waters to a better world. You 44 will become the new guardians, serving your neighbors, our community and the world beyond.

We are looking forward to all the times in the future that you will make us at least as proud of you as we are today.

George: Delay tactics cause clients to lose faith in system

I have noticed that the majority of the type of behavior described in this article has been from attorneys located outside the 4th Judicial Circuit, if not the state altogether.

That said, in light of some recent experiences, I decided to use this article to share some tactics that do not comport with the professionalism that we all should expect from each other, and some thoughts on the same.

Mentors ingrained in me early in my career that most extensions of time are not a client decision and we should be accommodating to the professional and personal needs of opposing counsel.

It seemingly has become a regular practice for defendants to file a motion for extension of time to respond to a complaint

at the 11th hour, more often than not seeking an indefinite extension.

Of course, this practice is particularly frustrating to someone trying to play by the rules when such a motion is filed without even the courtesy of a phone call to request a reasonable extension (which would have been granted).

The goal of such filings (at least in state court) is clear. Upon the filing of a paper with a court, a clerk cannot enter a default and the defendant can avoid having to respond until the plaintiff pushes the court to force a response, which unfortunately can take months in certain courts.

At some point, lawyers may need to refer a case out if they honestly are not available for any of the dozen hearing dates over the span of two months provided by a judicial assistant.

DO BUSINESS WITH OUR SPONSORS

This is not only a matter of respect for the court’s and opposing counsel’s time, but moreover, of an attorney’s ethical obligations to the client.

The Florida Bar’s Professionalism Expectations explain that “a lawyer should not enter into a lawyer-client relationship when the lawyer cannot provide competent and diligent service to the client throughout the course of the representation.”

Related to this, some attorneys attempt to state they need more time for basic hearings than is necessary or reasonable, so as to take advantage of the scarcity of hearing times on a court’s busy calendar.

These tactics can delay matters by months and are in disharmony with the Florida Bar’s Professionalism Expectations’ admonition that “[r]especting the time and commitments of others is essential to the efficient and fair

resolution of legal matters.”

With some lawyers, their position seems to be that obtaining a ruling is just the beginning of the argument. Again, the Professionalism Expectations are instructive: a lawyer “must … ensure that the [proposed] order fairly and adequately represents the court’s ruling,” and “should not use the post-hearing submission of proposed orders as an opportunity to argue or reargue a matter’s merits.”

If we are submitting competing orders at every step of a lawsuit, and yours are never entered, perhaps you need to listen more clearly to the judge’s rulings and directives.

I could keep going, but you hopefully get the point. Unfortunately, state court judges are busy and a lawyer can take advantage of the system to delay progress of a matter toward ulti-

mate resolution. These tactics are not fair to fellow lawyers and, more importantly, cause our clients to lose faith in the system. If we do not set an example to follow the rules, litigate fairly and openly and be honest with each other, we cannot expect our clients to do the same.

I promise that I will return to more positive and inspiring material next month. But I am tired because school just started and my kid no longer wants to wear clothes in the morning, so I am grumpy.

I also promise to withhold my feelings about improper etiquette in airports and grocery stores for when I am a JBA past president.

In the meantime, thank you for letting me vent.

Christian George is managing partner in Akerman’s Jacksonville office.

Special to the Daily Record
Jacksonville University College of Law Randall C. Berg Jr. Founding Dean Nick Allard addressing the 44 first-year students enrolled in the law school during the convocation ceremony at the Duval County Courthouse.

Top 10 home sales of week

FROM STAFF

Here are the top 10 single-family residential real estate sales in Northeast Florida, comprising Baker, Clay, Duval, Nassau and St. Johns counties. The sales were recorded Aug. 26-Sept. 1, 2024.

ST. JOHNS

$9,000,000

421 Ponte Vedra Blvd., Ponte Vedra Beach

Type: Single-family

Lot size: 0.69 acre

House size: 4,126 square feet

Buyer: Russell S. and Lisa T. Lalli

Seller: Steven and Katherine Gold

Previous sale: $2,150,000 in 2012

About the property: Oceanfront two-story home features six bedrooms, five full and one half-bathrooms, guest suite, porch, balcony and patios.

$4,850,000

3448 Florida 13 N., Saint Johns

Type: Single-family

size: 1.66 acres House size: 7,926 square feet

Buyer: Kelly Ingram-Mitchell Family Dynasty Residence Trust

Seller: Steven B. and Deborah K. Mortensen

Previous sale: $2,595,000 in 2021

$3,150,000 4682 Carlton Dunes Drive, Fernandina Beach

Type: Carlton Dunes Condominium Condo size: 3,384 square feet

Buyer: Walton Accommodations 157 LLC Seller: B. Gene and Deana K. Waldron Previous sale: $2,500,000 in 2021

$2,900,000 1602 First St., Neptune Beach

Type: Single-family Lot size: 0.14 acre House size: 3,028 square feet

Buyer: Kaelin M. Smith

Seller: Stephanie A. and Wesley A. Mock

NASSAU

$2,500,000

6529 Spyglass Circle, Fernandina Beach

Type: Spyglass Villas II Condominium Condo size: 2,404 square feet

Buyer: Nathan A. and Julie M. Rozof

Seller: Ann M. and John F. de Raismes, the Ann M. de Raismes Revocable Trust and the John F. de Raismes Revocable Trust

Previous sale: $1,359,000 in 2018

ST. JOHNS

$2,400,000

173 N. Roscoe Blvd., Ponte Vedra Beach

Type: Single-family Lot size: 0.69 acre

House size: 3,393 square feet

Buyer: Mark C. and Lori S. Avampato

Seller: Steven D. and Martha M. McClintock

Previous sale: $101,000 in 2006

NASSAU

$2,280,000

39 Beach Wood Road, Fernandina Beach

Type: Single-family

Lot size: 0.3 acre

House size: 3,035 square feet

Buyer: Kevin B. and Linda S. Schutt

Seller: Robert D. and Leigh F. Tate and the Tate Family Revocable Trust

Previous sale: $740,000 in 2020

ST. JOHNS

$2,000,000

172 Hickory Hill Drive, St. Augustine

Type: Single-family

Lot size: 0.68 acre

House size: 5,938 square feet

Buyer: Jordan C. and Morgan Black and Tina Black

Seller: Jameson and Theresa Richard and JTR Joint Trust

Previous sale: $1,584,000 in 2021

NASSAU

$2,000,000

6 Red Cedar Road, Fernandina Beach

Type: Single-family Lot size: 0.7 acre

House size: 3,796 square feet

Buyer: Peter A. and Suzanne B. Siebert

Seller: Peter A. Siebert, Dorothy L. Siebert Qualified Personal Residence Trust, Family Trust

ST. JOHNS

$1,925,000

611 Ponte Vedra Blvd., No. 111, Ponte Vedra Beach

Type: Las Mirandas Oceanside Condominium

Condo size: 1,935 square feet

Buyer: Colcord LLC

Seller: Nancy W. SmithRobinson, Virginia W. Watson, Mary Jane W. Goins, Sally W. Jones and the Nancy Wenderoth Management Trust

Previous sale: $875,000 in 2002

HEALTH CARE INNOVATORS

Douglas Elliman

Public Notices

DUVAL COUNTY LEGAL NOTICES

FIRST INSERTION

NOTICE UNDER FICTITIOUS NAME LAW

According to Florida Statute Number 865.09 NOTICE IS HEREBY GIVEN that the undersigned, desiring to engage in business under the Fictitious Name of Voiceopin International located at 25 East Beaver Street, #177, in the City of Jacksonville, Duval County, Florida 32202 intends to register the said name with the Division of Corporations of the Department of State, Tallahassee, Florida.

Dated at Jacksonville, Florida, this 29th day of August, 2024.

Gwyndolyn McClellan

By:

McClellan Sep. 5 00 (24-05580D)

FIRST INSERTION NOTICE UNDER FICTITIOUS NAME LAW

According to Florida Statute Number 865.09 NOTICE IS HEREBY GIVEN that the undersigned, desiring to engage in business under the Fictitious Name of Septic Specialists located at 223 Diamondback Ave, in the City of St Augustine, St. John’s County, Florida 32095 intends to register the said name with the Division of Corporations of the Department of State, Tallahassee, Florida. Dated at Jacksonville, Florida, this 29th day of August, 2024. Heath thomas Sep. 5 00 (24-05560D)

FIRST INSERTION

NOTICE OF PUBLIC MEETINGS AND HEARINGS

NOTICE is hereby given that there will be a public meeting held by the Jacksonville Planning Commission on Thursday, September 19, 2024 at 1:00 p.m. in the Edward Ball Building, 1st Floor Hearing Room 1002, 214 North Hogan Street, Jacksonville, Florida 32202 and the following public hearings will be held by the City Council on Tuesday, September 24, 2024 at 5:00 p.m., by the Land Use and Zoning Committee on Tuesday October 1, 2024 at 5:00 p.m. and by the 2nd City Council on Tuesday, October 8, 2024 at 5:00 p.m. in the Council Chambers, 1st floor, City Hall, 117 West Duval Street, St. James Building, Jacksonville, FL, concerning: Ordinance No. 2024-668 AN ORDINANCE REZONING APPROXIMATELY 45.90+ ACRES LOCATED IN COUNCIL DISTRICT 13 AT 0 ATLANTIC BLVD., BETWEEN SAN PABLO ROAD AND THE INTERCOASTAL WATERWAY (R.E. NO(S). 167140-0200), OWNED BY BOARD OF TRUSTEES OF THE INTERNAL IMPROVEMENT TRUST FUND OF THE STATE OF FLORIDA, AS DESCRIBED HEREIN, FROM RESIDENTIAL RURAL-ACRE (RR-ACRE) DIS-

RE-NOTICE OF PUBLIC MEETINGS AND HEARINGS

NOTICE is hereby given that there will be a public meeting held by the Jacksonville Planning Commission on Thursday, September 19, 2024 at 1:00 p.m. in the Edward Ball Building, 1st Floor Hearing Room 1002, 214 North Hogan Street, Jacksonville, Florida 32202 and the following public hearings will be held by the City Council on Tuesday, September 24, 2024 at 5:00 p.m., by the Land Use and Zoning Committee on Tuesday, October 1, 2024 at 5:00 p.m. and by the 2nd City Council on Tuesday, October 8 2024 at 5:00 p.m. in the Council Chambers, 1st floor, City Hall, 117 West Duval Street, St. James Building, Jacksonville, FL, concerning: Ordinance No. 2023-705 AN ORDINANCE REZONING

APPROXIMATELY

0.45± ACRES LOCATED IN COUNCIL DIS-

TRICT 5 AT 0 ST. AUGUSTINE ROAD, BETWEEN ST. AUGUSTINE ROAD AND LORIMIER ROAD (R.E. NOS. 130411-0110, 130411-0120 AND 130411-0130), AS DESCRIBED HEREIN, OWNED BY T20 HOLDINGS LLC, FROM RESIDENTIAL LOW DENSITY-60 (RLD60) DISTRICT TO PLANNED UNIT DEVELOPMENT (PUD)

DISTRICT, AS DEFINED AND CLASSIFIED UNDER THE ZONING CODE, TO PERMIT COMMERCIAL USES AND UP TO SIX TOWNHOMES, AS DESCRIBED IN THE ST. AUGUSTINE ROAD PUD, PUR-

SUANT TO FUTURE LAND USE

MAP SERIES (FLUMS) SMALLSCALE AMENDMENT APPLICATION NUMBER L-5859-23C; PROVIDING A DISCLAIMER THAT THE REZONING GRANTED HEREIN SHALL

TRICT AND PLANNED UNIT DEVELOPMENT (PUD) DISTRICT TO CONSERVATION (CSV) DISTRICT, AS DEFINED AND CLASSIFIED UNDER THE ZONING CODE, PURSUANT TO FUTURE LAND USE MAP SERIES SMALL SCALE AMENDMENT APPLICATION NUMBER L 5974 24C; PROVIDING A DISCLAIMER THAT THE REZONING GRANTED HEREIN SHALL NOT BE CONSTRUED AS AN EXEMPTION FROM ANY OTHER APPLICABLE LAWS; PROVIDING AN EFFECTIVE DATE. A copy of the ordinance containing the legal description is available for public inspection in the Council Legislative Services Division, Suite 430, City Hall. Additional information concerning this rezoning may be obtained by contacting the Planning and Development Department at 255-7865. All interested parties may appear at the meeting and be heard with respect to the proposed ordinance. Please visit www.coj.net for meeting information and COVID19 procedures/precautions for accessing public buildings. Margaret M. Sidman City Council Secretary Dated this 30th day of August 2024. Sep. 5 00 (24-05588D)

NOT BE CONSTRUED AS AN EX EMPTION FROM ANY OTHER APPLICABLE LAWS; PROVIDING AN EFFECTIVE DATE.

A copy of the ordinance containing the legal description is available for public inspection in the Council Legislative Services Division, Suite 430, City Hall. Additional information concerning this rezoning may be obtained by contacting the Planning and Development Department at 255-7865. All interested parties may appear at the meeting and be heard with respect to the proposed ordinance. Application for Planned Unit Development 2023-0705 seeks to rezone approximately 0.45± acres of land from Residential Low Density-60 (RLD-60) to Planned Unit Development (PUD). The property is located at 0 St. Augustine Road (RE#: 130411-0130; 1304110120; 130411-0110) between St. Augustine Road and Lorimer Road. The agent is Cyndy Trimmer, 1 Independent Drive, Suite 1200, Jacksonville, FL 32202. The rezoning to a new PUD is being sought in order to allow for an office and light warehouse on an urban infill lot in the Community/General Commercial (CGC) Functional Land Use Category. This PUD is a companion to pending application 2023-0704 for small-scale land use amendment (L-5859--23C). The request is to amend a combined 0.45± acres of land from LDR to CGC. Please visit www.coj.net for meeting information and COVID19 procedures/precautions for accessing public buildings. Margaret M. Sidman City Council Secretary Dated this 30th day of August 2024. Sep. 5 00 (24-05584D)

FIRST INSERTION

NOTICE OF PUBLIC MEETING

PUBLICATION DATE: September 9, 2024 TO WHOM IT MAY CONCERN:

The Florida State College at Jacksonville Foundation’s Investment Advisory Committee members will hold its regular Quarterly Meeting on Tuesday, October 08, 2024, at 2:00 P.M., at FSCJ College’s Advanced Technology Center Building, 401 W. State St. Jacksonville, FL 32202, conference room number T216. For Public Access: Meeting ID (access code): 2426 248 3035 Meeting passcode: 3x8rTpvMMF8

Copies of the agenda will be available for inspection on and after October 08, 2024. Copies are available upon written request and submission of payment of charges for duplication. All objections to this notice or the propriety of the scheduled Regular Meeting should be filed in writing with the Chief Investment & Relations Officer, Florida State College Foundation, on or before October 08, 2024.

Florida State College at Jacksonville does not discriminate against any person on the basis of race, disability, color, ethnicity, national origin, religion, gender, age, sex, sexual orientation/expression, marital status, veteran status, pregnancy, or genetic information in its programs or activities. Please advise the Foundation within 24 hours of the meeting if special accommodations to attend the meeting are required.

FLORIDA STATE COLLEGE AT JACKSONVILLE FOUNDATION, INC.

Ebony West FSCJ Foundation, Foundation Support Manager 904-632-3356

Sep. 5 00 (24-05554D)

FIRST INSERTION

ALTA LAKES COMMUNITY

DEVELOPMENT DISTRICT NOTICE OF SPECIAL MEETING

Notice is hereby given that the Board of Supervisors (“Board”) of the Alta Lakes Community Development District (“District”) will hold a special meeting on September 25, 2024, at 6:00 p.m. at the Alta Lakes Amenity Center, located at 3108 Alta Lakes Blvd, Jacksonville, FL 32226.

A copy of the agenda may be obtained by contacting the District Manager, c/o Rizzetta & Company, Inc, 3434 Colwell Avenue, Suite 200, Tampa, FL 33614 (“District Manager’s Office”) or by visiting the website at www. altalakescdd.org or by emailing BPfuhl@rizzetta.com or by phone at 904-436-6270 during normal business hours. The meetings are open to the public and will be conducted in accordance with the provisions of Florida Law for Community Development Districts. There may be occasions when one or more Supervisors or staff will participate by telephone. The meetings may be continued to a date, time, and place to be specified on the record at such meeting. Pursuant to provisions of the Americans with Disabilities Act, any person requiring special accommodations at this meeting because of a disability or physical impairment should contact the District Office at (904) 4366270 at least 48 hours prior to the meeting. If you are hearing or speech impaired, please contact the Florida Relay Service by dialing 7-1-1, or 1-800-955-8771 (TTY) / 1-800-955-8770 (Voice), for aid in contacting the District Office.

A person who decides to appeal any decision made at the meeting with respect to any matter considered at the meeting is advised that person will need a record of the proceedings and that accordingly, the person may need to ensure that a verbatim record of the proceedings is made, including the testimony and evidence upon which such appeal is to be based. District Manager Ben Pfuhl Sep. 5 00 (24-05549D)

NOTICE UNDER FICTITIOUS NAME LAW

According to Florida Statute Number 865.09

NOTICE IS HEREBY GIVEN that the undersigned, desiring to engage in business under the Fictitious Name of CMG Homes located at 8452 Colfax Ct, in the City of Jacksonville, Duval County, Florida 32244 intends to register the said name with the Division of Corporations of the Department of State, Tallahassee, Florida.

Dated at Jacksonville, Florida, this 29th day of August, 2024. My Three Sons Real Estate LLC By: Cynthia M. Gaines Sep. 5 00 (24-05561D)

FIRST INSERTION

NOTICE OF PUBLIC SALE

ADAMS TOWING gives notice that on 09/26/2024 at 10:30 AM the following vehicles(s) may be sold by public sale at 284 EDGEWOOD AVE SOUTH JAX., FL. 32254 to satisfy the lien for the amount owed on each vehicle for any recovery, towing, or storage services charges and administrative fees allowed pursuant to Florida statute 713.78 2C3CDZAG4GH137096 2016 DODG 3C4PDCABXJT276842 2018 DODG 4YMUL0814FG067282 2014 HMDE WDDKJ5KB9CF135650 2012 MERZ 1N4AL3AP1GN342343 2016 NISS 5N1AT2MT8JC711193 2018 NISS JTDKN3DU2D5656959 2013 TOYOTA 4T1BF3EK2BU641452 2011 TOYT Sep. 5 00 (24-05566D)

FIRST INSERTION

NOTICE OF BOARD OF SUPERVISORS MEETING OF THE TISON’S LANDING COMMUNITY DEVELOPMENT DISTRICT

Notice is hereby given that the Tison’s Landing Community Development District (“District”) is scheduled to hold a Board of Supervisors meeting on Thursday, September 12, 2024 at 6:00 p.m. at the Yellow Bluff Amenity Center located at 16529 Tisons Bluff Road, Jacksonville, Florida. During the meeting, the Board is expected to consider and discuss various proposals, staff reports, and any other business which may lawfully and properly come before the Board. This Notice is given in accordance with the requirements of Sections 189.417 and 120.54(5) (b)2, Florida Statutes. The meeting is open to the public and will be conducted in accordance with the provisions of Florida Law for Community Development Districts. The meeting may be continued to a date, time, and place to be specified on the record at the meeting. An electronic copy of the agenda for the meeting may be obtained by visiting the District’s website at www. TisonsLandingCDD.com. Any person requiring special accommodations to attend the meeting because of a disability or physical impairment or who may need assistance to attend the meeting telephonically should contact the District Office at 475 West Town Place, Suite 114, St. Augustine, Florida 32092 or (904) 940-5850 at least five calendar days prior to the meeting. If you are hearing or speech impaired, please contact the Florida Relay Service by dialing 7-1-1, or 1-800-955-8771 (TTY) / 1-800-955-8770 (Voice), for aid in contacting the District Manager’s Office. Each person who decides to appeal any action taken at the meeting is advised that person will need a record of the proceedings and that accordingly, the person may need to ensure that a verbatim record of the proceedings is made, including the testimony and evidence upon which such appeal is to be based. Daniel Laughlin District Manager Sep. 5 00 (24-05553D)

FIRST INSERTION

NOTICE

INSERTION FIRST INSERTION

OF SALE OF ABANDONED PROPERTY

The personal property of Joseph Sawinksi, Joseph Sawinski, Carlie Santiago, Danielle Santiago, Jana Santiago, Joyce Sawinski and Lucille Marie Pope Shaw, comprising one (1) 1982 SPRI Mobile Home, VIN GAFL2AC16340441, Title Number 0021742343, which is located at 2535 Paddock Dr., Lort 480, Jacksonville, Florida 32250, and its contents, will be sold at 14001 Beach Blvd., Jacksonville, Florida 32250, on Tuesday, 09/17/2024, at 10:00 A.M. Sep. 5/12 00 (24-05601D)

NOTICE OF PUBLIC SALE

Kenworth of Jacksonville, Inc gives notice & intent to sell for non-payment of labor, service & storage fees the following vehicle on 9/30/2024 at 9:00 AM at 1121 Suemac Rd, Jacksonville, FL 32254. 904-739-2296 due in cash on the day of the sale to redeem the motor vehicle or satisfy the lien. Parties claiming interest have rights to a hearing prior to sale with the Clerk of Court. Owner has rights to recover possession of vehicle w/out judicial proceedings as pursuant to FL Statute 559.917. The lien claimed by the lienor is subject to enforcement pursuant to section 713.585 FL Statutes. Proceeds recovered from sale over the amount of lien will be deposited w/ Clerk of the Court for disposition upon court order. Said Company reserves the right to accept or reject any & all bids. 1XKYD49X6JJ182351 2018 JW FOR $862.53, 1XKYD49X2GJ491954 2016 KW FOR $10,642.08. Sep. 5 00 (24-05567D)

FIRST INSERTION BEACH COMMUNITY DEVELOPMENT DISTRICT NOTICE OF BOARD OF SUPERVISORS REGULAR MEETING Notice is hereby given that a regular meeting of the Board of Supervisors of the Beach Community Development District (the “District”) will be held on Monday, September 16, 2024, at 6:00 p.m. at 12788 Meritage Blvd. Jacksonville, FL 32246. The purpose of the meeting is to discuss any topics presented to the board for consideration.

Copies of the agenda may be obtained from the District Manager, Vesta District Services, 250 International Parkway, Suite 208, Lake Mary, Florida 32746, Telephone (321) 263-0132, Ext. 193. The meeting is open to the public and will be conducted in accordance with the provisions of Florida law for community development districts. The meeting may be continued in progress without additional notice to a date, time, and place to be specified on the record at the meeting. There may be occasions when Staff and/or Supervisors may participate by speaker telephone. Pursuant to provisions of the Americans with Disabilities Act, any person requiring special accommodations to participate in the meeting is asked to advise the District Manager’s office at least forty-eight (48) hours before the meeting by contacting the District Manager at (321) 263-0132, Ext. 193. If you are hearing or speech impaired, please contact the Florida Relay Service at 711, for assistance in contacting the District Manager’s office.

A person who decides to appeal any decision made at the meeting, with respect to any matter considered at the meeting, is advised that a record of the proceedings is needed and that accordingly, the person may need to ensure that a verbatim record of the proceedings is made, including the testimony and evidence upon which the appeal is to be based.

Beach Community Development District David McInnes, District Manager (321) 263-0132, Ext. 193 Sep. 5 00 (24-05603D)

INSERTION

NOTICE UNDER FICTITIOUS NAME LAW

According to Florida Statute Number 865.09

NOTICE IS HEREBY GIVEN that the undersigned, desiring to engage in business under the Fictitious Name of TFRE Solutions located at 11213 Water Spring Circle, in the City of Jacksonville, Duval County, Florida 32256 intends to register the said name with the Division of Corporations of the Department of State, Tallahassee, Florida. Dated at Jacksonville, Florida, this 29th day of August, 2024. Timothy Faircloth Sep. 5 00 (24-05559D)

FIRST INSERTION

NOTICE UNDER FICTITIOUS NAME LAW

According to Florida Statute Number 865.09

NOTICE IS HEREBY GIVEN that the undersigned, desiring to engage in business under the Fictitious Name of Notary and Signing Services By D.W located at 673 Jackson Rd, in the City of Jacksonville, Duval County, Florida 32225 intends to register the said name with the Division of Corporations of the Department of State, Tallahassee, Florida. Dated at Jacksonville, Florida, this 29th day of August, 2024. Devona Williams Sep. 5 00 (24-05562D)

FIRST INSERTION

Notice of Meetings Fiscal Year 2024/2025 Normandy Community Development District As required by Chapters 189 and 190 of Florida Statutes, notice is hereby given that the Fiscal Year 2024/2025 Regular Meetings of the Board of Supervisors of the Normandy Community Development District shall be held at 9:30 a.m. at the Fairfield Inn, 561 Chaffee Point Blvd., Jacksonville, Florida 32221. The meeting dates are as follows: October 18, 2024 November 15, 2024 December 20, 2024 January 17, 2025 February 21, 2025 March 21, 2025 April 18, 2025

May 16, 2025

June 20, 2025 July 18, 2025 August 15, 2025 September 19, 2025

The meetings will be open to the public and will be conducted in accordance with the provisions of Florida Law for community development districts. Any meeting may be continued with no additional notice to a date, time and place to be specified on the record at a meeting. A copy of the agenda for the meetings listed above may be obtained from Breeze, 1540 International Parkway, Suite 2000, Lake Mary FL 32756 at (407) 221-9153, one week prior to the meeting. There may be occasions when one or more supervisors will participate by telephone or other remote device.

In accordance with the provisions of the Americans with Disabilities Act, any person requiring special accommodations at this meeting because of a disability or physical impairment should contact BREEZE at (407) 2219153. If you are hearing or speech impaired, please contact the Florida Relay Service at 711 for aid in contacting the District Office at least forty-eight (48) hours prior to the date of the hearing and meeting. Each person who decides to appeal any action taken at the meetings is advised that the person will need a record of proceedings and that accordingly, the person may need to ensure that a verbatim record of the proceedings is made, including the testimony and evidence upon which such appeal is to be based. Breeze, District Management Sep. 5 00 (24-05552D)

PUBLIC NOTICES DUVAL

FIRST INSERTION

IN THE COUNTY COURT OF THE 4TH JUDICIAL CIRCUIT IN AND FOR DUVAL COUNTY, FLORIDA CASE NO.: 16-2024-CC-004625

DIVISION: CC-O THE GRAND RESERVE CONDOMINIUM ASSOCIATION, INC., Plaintiff,

v. CHARLES DOUGLAS REYNOLDS, UNKNOWN TENANT IN POSSESSION #1, Defendant.

NOTICE OF SALE

PURSUANT TO CHAPTER 45

NOTICE IS HEREBY GIVEN pursuant to a Final Judgment of Foreclosure dated August 27, 2024, and entered in Case No. 16-2024-CC-004625 of the Circuit Court of the Fourth Judicial Circuit in and for Duval County, Florida, wherein THE GRAND RESERVE CONDOMINIUM ASSOCIATION, INC. is Plaintiff, and CHARLES DOUGLAS REYNOLDS and UNKNOWN TENANT IN POSSESSION #1 are the Defendants, that I will sell to the highest and best bidder for cash at: www.duval.realforeclose.com

Duval County, Florida, at 11:00

A.M. on the 29th day of October, 2024, the following described property as set forth in said Order or Final Judgment, to-wit: Unit No. 839, Storage Space No. S-95 and Parking Spaces No. 352 and No. 359, The GRAND RESERVE CONDOMINIUM, a Condominium according to the Declaration of Condominium thereof, recorded in Official Records Book 10012, page 109, as amended by First Amendment to Declaration of Condominium in Official Records Book

FIRST INSERTION IN THE CIRCUIT COURT FOR DUVAL COUNTY, FLORIDA

PROBATE DIVISION

File No. 16-2024-CP-000974

Division PR-A IN RE: ESTATE OF CURTIS OSCAR BEDSAUL Deceased. NOTICE TO CREDITORS

The administration of the estate of Curtis Oscar Bedsaul, deceased, whose date of death was January 26, 2024, is pending in the Circuit Court for Duval County, Florida, Probate Division, the address of which is 501 West Adams Street, Room 1173, Jacksonville, Florida 32202. The names and addresses of the personal representative and the personal representative’s attorney are set forth below.

All creditors of the decedent and other persons having claims or demands against decedent’s estate on whom a copy of this notice is required to be served must file their claims with this court ON OR BEFORE THE LATER OF 3 MONTHS AFTER THE TIME OF THE FIRST PUBLICATION OF THIS NOTICE OR 30 DAYS AFTER THE DATE OF SERVICE OF A COPY OF THIS NOTICE ON THEM.

All other creditors of the decedent and other persons having claims or demands against decedent’s estate must file their claims with this court WITHIN 3 MONTHS AFTER THE DATE OF THE FIRST PUBLICATION OF THIS NOTICE.

The personal representative has no duty to discover whether any property held at the time of the decedent’s death by the decedent or the decedent’s surviving spouse is property to which the Florida Uniform Disposition of Community Property Rights at Death Act as described in ss. 732.216732.228, applies, or may apply, unless a written demand is made by a creditor as specified under s. 732.2211, Florida Statutes.

ALL CLAIMS NOT FILED WITHIN THE TIME PERIODS SET FORTH IN FLORIDA STATUTES SECTION 733.702 WILL BE FOREVER BARRED. NOTWITHSTANDING THE TIME PERIODS SET FORTH ABOVE, ANY CLAIM FILED TWO (2) YEARS OR MORE AFTER THE DECEDENT’S DATE OF DEATH IS BARRED.

The date of first publication of this notice is September 05, 2024.

Personal Representative: Pamela Vess Bedsaul 791 Assisi Lane, #802 Atlantic Beach, Florida 32233

Attorney for Personal Representative: Joseph B. Lindsay, Esq.

JLindsay@NorthstarLawFL.com, Florida Bar No. 1002352

Northstar Law, PLLC

5401 S. Kirkman, Rd., Ste. 310 Orlando, Florida 32819

Telephone: (407) 926-0233

Sep. 5/12 00 (24-05579D)

10562, page 2156 of the Public Records of Duval County, Florida, and all amendments thereto, together with its undivided share in the common elements.

Street Address: 13810 Sutton Park Drive N., Unit 839, Jacksonville, Florida 32224.

Name of Clerk Making the Sale: Jody Phillips. Clerk of Court ANY PERSON CLAIMING AN INTEREST IN THE SURPLUS FROM THE SALE, IF ANY. OTHER THAN THE PROPERTY OWNER AS OF THE DATE OF THE LIS PENDENS MUST FILE A CLAIM BEFORE THE CLERK REPORTS THE SURPLUS AS UNCLAIMED.

Americans With Disabilities Act (ADA) Notice

In accordance with the Americans with Disabilities Act of 1990 (ADA), If you are a person with a disability who needs any accommodation in order to participate in this proceeding, you are entitled at no cost to you, to the provision of certain assistance. Please contact the ADA Coordinator at crtintrp@coj.net or (904) 2551695 at least 7 days before your scheduled court appearance, or immediately upon receiving this notification if the time before the scheduled appearance is less than 7 days; if you are hearing or voice impaired, call 711. DATED this 28th day of August, 2024.

JODY PHILLIPS Clerk of Court

By: Tonya Mooradian Deputy Clerk (Court Seal) WASSERSTEIN, P.A. 301 Yamato Road Suite 2199 Boca Raton, Florida 33431 Sep. 5/12 00 (24-05578D)

FIRST INSERTION IN THE CIRCUIT COURT OF THE FOURTH CIRCUIT IN AND FOR DUVAL COUNTY, FLORIDA PROBATE DIVISION File No. 16-2024-CP-002219 Division PR-B IN RE: ESTATE OF MARK GORKIEWICZ

Deceased.

NOTICE TO CREDITORS

If you have been served with a copy of this notice and you have any claim or demand against the decedents’ estate, even if that claim is unmatured, contingent, or unliquidated, you must file your claim with the court ON OR BEFORE THE LATER OF A DATE THAT IS 3 MONTHS AFTER THE FIRST PUBLICATION OF THIS NOTICE OR 30 DAYS AFTER YOU RECEIVE A COPY OF THIS NOTICE.

All other creditors of the decedent and other persons who have claims or demands against the decedent’s estate, including unmatured, contingent, or unliquidated claims, must file their claims with the court, ON OR BEFORE THE DATE THAT IS 3 MONTHS AFTER THE FIRST PUBLICATION OF THIS NOTICE.

ALL CLAIMS NOT FILED WITHIN THE PERIOD SET FORTH IN SECTION 733.702, FLORIDA STATUTES, WILL BE FOREVER BARRED. EVEN IF A CLAIM IS NOT BARRED BY THE LIMITATIONS DESCRIBED ABOVE, ALL CLAIMS THAT HAVE NOT BEEN FILED WILL BE BARRED TWO YEARS AFTER DECEDENT’S DEATH. The case number and decedent’s name are: MARK GORKIEWICZ, File Number 16-2024-CP-002219. The address of the court where this probate is pending is: Circuit Court for Duval County, Florida, 501 W. Adams St. Rm: 7062, Jacksonville, FL, 32202.

A Personal Representative or curator has no duty to discover whether any property held at the time of the decedent’s death by the decedent or the decedent’s surviving spouse is property to which the Florida Uniform Disposition of Community Property Rights at Death Act as described in ss. 732.216-732.228, applies, or may apply, unless a written demand is made by a creditor as specified under s. 732.2211. Date of death of the decedent is: May 30th, 2024. The date of first publication of this notice is September 5, 2024. The second week of publication is September 12, 2024. Personal Representative: Jason Solano Attorney for the representative(s): By:/s/Matthew T. Morrison Matthew T. Morrison, Esquire Florida Bar No. 1005203 5121 S. Lakeland Dr, Suite 2 Lakeland, Florida 33813 Sep. 5/12 00 (24-05564D)

FIRST INSERTION

IN THE CIRCUIT COURT OF THE FOURTH JUDICIAL CIRCUIT, IN AND FOR DUVAL COUNTY, FLORIDA CIVIL DIVISION CASE NO.: 16-2024-CA-004047 Division: FC-B MORTGAGE ASSETS MANAGEMENT, LLC PLAINTIFF, VS. SUSAN MARIE HAGA ET AL., DEFENDANTS. NOTICE OF ACTION TO: Unknown Spouse of Susan Marie Haga Last Known Address: 443 West 47th Street, Jacksonville Fl 32208 Current Residence: UNKNOWN YOU ARE NOTIFIED that an action for Foreclosure of Mortgage on the following described property: LOT 3, 4 AND 5, BLOCK 11, EXCEPT THE EAST 60 FEET OF LOTS 3 AND 5, BLOCK 11, PEARL COURT UNIT NO. 3, ACCORDING TO THE PLAT THEREOF AS RECORDED IN PLAT BOOK 12, PAGES 86, 87 AND 88 OF THE CURRENT PUBLIC RECORDS OF DUVAL COUNTY, FLORIDA. has been filed against you and you are required to serve a copy of your written defenses, if any, to it, on MILLER, GEORGE & SUGGS, PLLC, Attorney for

Plaintiff, whose address is 210 N. University Drive, Suite 900, Coral Springs, FL 33071, on or before a date at least thirty (30) days after the first publication of this Notice in the Jacksonville Daily Record, and file the original with the Clerk of this Court either before service on Plaintiff’s attorney or immediately thereafter; otherwise a default will be entered against you for the relief demanded in the complaint Americans With Disabilities Act (ADA) Notice In accordance with the Americans with Disabilities Act of 1990 (ADA), If you are a person with a disability who needs any accommodation in order to participate in this proceeding, you are entitled at no cost to you, to the provision of certain assistance. Please contact the ADA Coordinator at crtintrp@coj.net or (904) 255-1695 at least 7 days before your scheduled court appearance, or immediately upon receiving this notification if the time before the scheduled appearance is less than 7 days; if you are hearing or voice impaired, call 711. WITNESS my hand and the seal of this Court this 28th day of August, 2024. JODY PHILLIPS As Clerk of Court By: Michael Wheeler As Deputy Clerk (Court Seal) Sep. 5/12 00 (24-05570D)

IN THE CIRCUIT COURT, FOURTH JUDICIAL CIRCUIT, IN AND FOR DUVAL COUNTY, FLORIDA CASE NO.: 16-2024-CP-002490 DIVISION: PR-A IN RE: ESTATE OF KEVIN RANDALL THOMAS, Deceased.

NOTICE TO CREDITORS

If you have been served with a copy of this notice and you have any claim or demand against the decedent’s estate, even if that claim is unmatured, contingent, or unliquidated, you must file your claim with the court ON OR BEFORE THE LATER OF A DATE THAT IS 3 MONTHS AFTER THE FIRST PUBLICATION OF THIS NOTICE OR 30 DAYS AFTER YOU RECEIVE A COPY OF THIS NOTICE. All other creditors of the decedent and other persons who have claims or demands against the decedent’s estate, including unmatured, contingent, or unliquidated claims, must file their claims with the court ON OR BEFORE THE DATE THAT IS 3 MONTHS AFTER THE FIRST PUBLICATION OF THIS NOTICE. A personal representative or curator has no duty to discover whether any property held at the time of the decedent’s death by the decedent or the decedent’s surviving spouse is property to which the Florida Uniform Disposition of Community Property Rights at Death Act as described in sections 732.216732.228, applies, or may apply,

unless a written demand is made by a creditor as specified under section 732.2211. ALL CLAIMS NOT FILED WITHIN THE PERIODS SET FORTH IN SECTION 733.302, FLORIDA STATUTES, WILL BE FOREVER BARRED. EVEN IF A CLAIM IS NOT BARRED BY THE LIMITATIONS DESCRIBED ABOVE, ALL CLAIMS THAT HAVE NOT BEEN FILED WILL BE BARRED TWO YEARS AFTER DECEDENT’S DEATH. The address of the court where this probate is pending is: 501 W. Adams Street, Jacksonville, FL 32202. The date of death of the decedent is: January 27, 2024. The date of first publication of this Notice is September 5, 2024. Petitioner: Kevin R. Thomas, Jr. c/o Law Offices of Mark F. Moss, PLLC 12276 San Jose Blvd., Suite 520 Jacksonville, FL 32223 Attorney for Petitioner MARK F. MOSS, ESQ. Florida Bar Number: 119573 Law Offices of Mark F. Moss, PLLC 12276 San Jose Blvd., Suite 520 Jacksonville, FL 32223 Telephone: (904) 329-7242 E-Mail 1: Service@markmosslaw.com E-Mail 2: mark@markmosslaw.com Sep. 5/12 00 (24-05563D)

IN THE CIRCUIT COURT OF THE FOURTH JUDICIAL CIRCUIT IN AND FOR DUVAL COUNTY, FLORIDA CASE NO.: 16-2024-CA-003877

DIVISION: FC-C WILMINGTON TRUST, NATIONAL ASSOCIATION, NOT IN ITS INDIVIDUAL CAPACITY, BUT SOLELY AS TRUSTEE OF MFRA TRUST 2014-2, Plaintiff, vs. UNKNOWN HEIRS, SPOUSES, DEVISEES, GRANTEES, CREDITORS,AND ALL OTHER PARTIES CLAIMING BY, THROUGH, UNDER OR AGAINST THE ESTATE OF WILLIAM B. SAPP A/K/A WILLIAM BOBBY SAPP, et al., Defendants. NOTICE OF ACTION TO: Unknown Beneficiaries, Heirs, Spouses, Devisees, Grantees, Creditors, and All Other Parties claiming by, through, under or against the Estate of William B. Sapp a/k/a William Bobby Sapp 7236 Richardson Rd Jacksonville, FL 32209 LAST KNOWN ADDRESS STATED, and any unknown heirs, devisees, grantees, creditors, and other unknown persons claiming by, through, and under the above-named Defendant, if deceased or whose

IN THE CIRCUIT COURT OF THE 4TH JUDICIAL CIRCUIT IN AND FOR DUVAL COUNTY, FLORIDA CASE NO.: 16-2024-CA-002780

DIVISION: FC-D

U.S. BANK NATIONAL ASSOCIATION AS TRUSTEE FOR THE REGISTERED HOLDERS OF ABFC 2007-WMC1 TRUST ASSET BACKED FUNDING CORPORATION ASSET BACKED CERTIFICATES, SERIES 2007-WMC1, Plaintiff, vs. UNKNOWN HEIRS, DEVISEES, GRANTEES, ASSIGNEES, LIENORS, CREDITORS, TRUSTEES, AND ALL OTHER PARTIES CLAIMING AN INTEREST BY, THROUGH, UNDER OR AGAINST THE ESTATE OF BEATRAM KING A/K/A BERTRAM KING A/K/A BETRAM KING A/K/A BERTRAM LYDELL KING, DECEASED; JUANTRICIA FINCH A/K/A JUANTRICA FINCH A/K/A J. FINCH; BERTRAM LYDELL KING, JR.; D’ARCY EDAN KING; HANATHIA SHADON KING; UNKNOWN SPOUSE OF RUPERT J. THOMAS, Defendant(s).

NOTICE OF ACTION TO: Unknown Heirs, Devisees, Grantees, Assignees, Lienors, Creditors, Trustees, and all other parties claiming an interest by, through, under or against the Estate of Beatram King a/k/a Bertram King a/k/a Betram King a/k/a Bertram Lydell King, deceased Residence Unknown Hanathia Shadon King Residence Unknown YOU ARE NOTIFIED that an action to foreclose a mortgage on the following described property in Duval County, Florida: LOT 8, BLOCK 23,

last known addresses are unknown. YOU ARE NOTIFIED that an action to foreclose a mortgage on the following property in Duval County, Florida: LOT 1, RICHARDSON HEIGHTS ADDITION NO. 3, ACCORDING TO THE PLAT THEREOF AS RECORDED IN PLAT BOOK 33, PAGE 26, OF THE CURRENT PUBLIC RECORDS OF DUVAL COUNTY, FLORIDA PROPERTY ADDRESS: 7236 RICHARDSON RD, JACKSONVILLE, FL 32209 has been filed against you and you are required to serve a copy of your written defenses, if any, to it on Justin E. Hekkanen, Esq., the Plaintiff’s attorney, whose address is 819 SW Federal Hwy,, Suite 301, Stuart, FL 34994, within 30 days, and file the original with the clerk of this court either before service on the plaintiff’s attorney or immediately thereafter; otherwise a default will be entered against you for the relief demanded in the complaint or petition.

DATE: August 28, 2024.

JODY PHILLIPS CLERK OF THE CIRCUIT COURT By: Tonya Mooradian Deputy Clerk (Court Seal) Sep. 5/12 00 (24-05572D) FIRST INSERTION

GRAND PARK, ACCORDING TO PLAT THEREOF RECORDED IN PLAT BOOK 2, PAGES 59 AND 60, OF THE CURRENT PUBLIC RECORDS OF DUVAL COUNTY, FLORIDA. Street Address: 3543 Marland Street, Jacksonville, Florida 32209 has been filed against you and you are required to serve a copy of your written defenses, if any, to it on McCabe, Weisberg & Conway, LLC, Plaintiff’s attorney, whose address is 3222 Commerce Place, Suite A, West Palm Beach, FL 33407, within 30 days after the date of the first publication of this notice and file the original with the Clerk of this Court, otherwise, a default will be entered against you for the relief demanded in the complaint or petition. Americans With Disabilities Act (ADA) Notice In accordance with the Americans with Disabilities Act of 1990 (ADA), If you are a person with a disability who needs any accommodation in order to participate in this proceeding, you are entitled at no cost to you, to the provision of certain assistance. Please contact the ADA Coordinator at crtintrp@coj.net or (904) 2551695 at least 7 days before your scheduled court appearance, or immediately upon receiving this notification if the time before the scheduled appearance is less than 7 days; if you are hearing or voice impaired, call 711. Dated on August 28, 2024. JODY PHILLIPS Clerk of said Court By: Pamela R. Harrell As Deputy Clerk (Court Seal) McCabe, Weisberg & Conway, LLC 3222 Commerce Place, Suite A West Palm Beach, FL 33407 Telephone: (561) 713-1400 FLpleadings@MWC-law.com Sep. 5/12 00 (24-05571D)

IN THE COUNTY COURT, FOURTH JUDICIAL CIRCUIT, IN AND FOR DUVAL COUNTY, FLORIDA CASE NO.: 16-2024-CC-000248

DIVISION: CC-N TIMOTHY’S LANDING OWNERS ASSOCIATION, INC., a Florida corporation, Plaintiff, vs. HENRY SMILEY III; UNKNOWN SPOUSE OF HENRY SMILEY III; UNKNOWN TENANT #1; UNKNOWN TENANT #2; and ALL OTHER UNKNOWN PARTIES, claiming, by, through, under or against that Defendant, and all claimants, persons or parties, natural or corporate, or whose exact legal status is unknown, claiming under any of the above named or described Defendants, Defendants.

NOTICE OF SALE NOTICE IS HEREBY GIVEN pursuant to the Final Judgment of Foreclosure entered on August 7, 2024, in Case No. 16-2024CC-000248 of the Circuit Court of the Fourth Judicial Circuit in and for Duval County, Florida, in which TIMOTHY’S LANDING OWNERS ASSOCIATION, INC., is Plaintiff, and HENRY SMILEY III, is Defendant, in the Duval County Clerk of the Court, will sell to the highest bidder for cash on: Duval County’s Public Auction website at: www.duval.realforeclose.com at the hour of 11:00 a.m. on the 26th day of September, 2024 the following described real property: Lot 125D, TIMOTHY’S

LA NDING, UNIT ONE, as per Plat thereof, recorded in Plat Book 57, Page(s) 41, 41A through 41I, of the Public Records of Duval County, Florida. Property address: 7768 Highchair Lane, Jacksonville, Florida 32210

Any person claiming an interest in the surplus from the sale, if any, other than the property owner as of the date of the Lis Pendens must file a claim before the clerk reports the surplus as unclaimed. Americans With Disabilities Act (ADA) Notice In accordance with the Americans with Disabilities Act of 1990 (ADA), If you are a person with a disability who needs any accommodation in order to participate in this proceeding, you are entitled at no cost to you, to the provision of certain assistance. Please contact the ADA Coordinator at crtintrp@coj.net or (904) 2551695 at least 7 days before your scheduled court appearance, or immediately upon receiving this notification if the time before the scheduled appearance is less than 7 days; if you are hearing or voice impaired, call 711. Dated this 28th day of August, 2024.

JODY PHILLIPS CLERK OF THE CIRCUIT COURT By: Tonya Mooradian Deputy Clerk (Court Seal) Melissa G. Murrin, Esq. Jimerson Birr, P.A. One Independent Drive, Suite 1400 Jacksonville, FL 32202 Sep. 5/12 00 (24-05575D)

FIRST INSERTION IN THE CIRCUIT COURT OF THE FOURTH JUDICIAL CIRCUIT IN AND FOR DUVAL COUNTY, FLORIDA CASE NO.: 16-2024-CA-001803 Division: FC-B GREENSPRING CAPITAL MANAGEMENT, LLC, NOT IN ITS INDIVIDUAL CAPACITY, BUT SOLELY AS ADMINISTRATOR OF RMH 2023-2 TRUST, Plaintiff, v. SHIRLEY DENMARK JENKINS; UNKNOWN SPOUSE OF SHIRLEY DENMARK JENKINS, Defendants.

NOTICE OF SALE PURSUANT TO CHAPTER 45 NOTICE IS HEREBY GIVEN, in accordance with Final Judgment of Foreclosure dated August 23, 2024, entered in Case No. 16-2024-CA-001803, of the Circuit Court of the Fourth Judicial Circuit in and for Duval County, Florida, wherein Greenspring Capital Management, LLC, not in its individual capacity, but solely as administrator of RMH 2023-2 Trust is the Plaintiff and Shirley Denmark Jenkins and Unknown Spouse of Shirley Denmark Jenkins are the Defendants. The Clerk of Circuit Court for Duval County, Florida will sell to the highest and best bidder for cash at: www.duval.realforeclose.com the Clerk’s website for online auctions at 11:00 AM, on September 30, 2024, the following described property as set forth in said Order of Final Judgment, to wit: SOUTH ONE-HALF (S ½) OF LOTS 19 AND 20, BLOCK 3, ROYAL TERRACE ADDITION NUMBER TWO,

ACCORDING TO THE PLAT THEREOF AS RECORDED IN PLAT BOOK 18, PAGE 26, OF THE PUBLIC RECORDS OF DUVAL COUNTY, FLORIDA. Property Address: 5306 Paris Avenue, Jacksonville, Florida 32209-3041

Any person claiming an interest in the surplus from the sale, if any, other than the property owner as of the date of the lis pendens must file a claim in accordance with Florida Statutes, Section 45.031. Americans With Disabilities Act (ADA) Notice In accordance with the Americans

PUBLIC NOTICES

FIRST INSERTION

IN THE CIRCUIT COURT FOR THE 4TH JUDICIAL

CIRCUIT, IN AND FOR DUVAL COUNTY, FLORIDA

PROBATE DIVISION

File No. 16-2024-CP-002393

Division PR-B IN RE: ESTATE OF BRENDA CREWS, Deceased.

NOTICE TO CREDITORS

The administration of the estate of BRENDA CREWS, Deceased, whose date of death was July 13, 2024, is pending in the Circuit Court for DUVAL County, Florida, Probate Division, the address of which is 311 W Monroe, St., Jacksonville, FL 32202. The names and addresses of the personal representative and the personal representative’s attorney are set forth below. All creditors of the decedent and other persons having claims or demands against decedent’s estate on whom a copy of this notice is required to be served must file their claims with this court WITHIN THE LATER OF 3 MONTHS AFTER THE TIME OF THE FIRST PUBLICATION OF THIS NOTICE OR 30 DAYS AFTER THE DATE OF SERVICE OF A COPY OF THIS NOTICE ON THEM.

All other creditors of the decedent and other persons having claims or demands against decedent’s estate must file their claims with this court WITHIN

3 MONTHS AFTER THE DATE OF THE FIRST PUBLICATION OF THIS NOTICE. ALL CLAIMS NOT FILED WITHIN THE TIME PERIODS SET FORTH IN SECTION 733.702 OF THE FLORIDA PROBATE CODE WILL BE FOREVER BARRED. NOTWITHSTANDING THE TIME PERIODS SET FORTH ABOVE, ANY CLAIM FILED TWO (2) YEARS OR MORE AFTER THE DECEDENT’S DATE OF DEATH IS BARRED.

A personal representative or curator has no duty to discover whether any property held at the time of the decedent’s death by the decedent or the decedent’s surviving spouse is property to which the Florida Uniform Disposition of Community Property Rights at Death Act as described in sections 732.216-732.228, applies, or may apply, unless a written demand is made by a creditor as specified under section 732.2211.

The date of first publication of this notice is September 5, 2024.

LENNIE HIRSCH, Personal Representative Attorney for Personal Representative: Scott R. Bugay, Esquire Florida Bar No. 5207 Citicentre, Suite P600 290 NW 165TH Street Miami FL 33169

Telephone: (305) 956-9040

Fax: (305) 945-2905

Primary Email: Scott@srblawyers.com

Secondary Email: angelica@srblawyers.com Sep. 5/12 00 (24-05619D)

FIRST INSERTION

PUBLIC SALE

We Stor of Oceanway, LLC will conduct a public sale to the highest bidder. The sale will take place online at selfstorageauction.com in enforcement of Florida Statutes section 83.806 on Monday, September 23, 2024 at 4:00pm, on the following units: The company reserves the right to reject any bid and withdraw any items from the sale. All units contain household goods unless otherwise noted: Susan Austin & Michael H. Bunch, Sr. Sep. 5/12 00 (24-05625D)

FIRST INSERTION

Notice of Self Storage Sale

Please take notice Midgard Self Storage - Jacksonville FL located at 9119 Merrill Rd., Jacksonville, FL 32225 intends to hold a sale to sell the property stored at the Facility by the below list of Occupants whom are in default at an Auction. The sale will occur as an online auction via www.storageauctions.com on 9/20/2024 at 1:00PM. Unless stated otherwise the description of the contents are household goods, furnishings and garage essentials. Leland Davis unit #1041; Thomas B Burns unit #2001; Jennavee Lesiak units #2108 & #2141; Dorothy L Buresh unit #2127; Jennavee Lesiak unit #2141; Alexis Roberts unit #3035; Shawn Wilder unit #4067; Mandy Brown unit #4096; James Bartley unit #4099; Kyara N Colonel unit #4178; Leon H Glover unit #4229; Ishmael Blue unit #4234. This sale may be withdrawn at any time without notice. Certain terms and conditions apply. See manager for details. Sep. 5/12 00 (24-05583D)

FIRST INSERTION

ADVERTISEMENT OF SALE NOTICE IS HEREBY GIVEN that the undersigned intends to sell the personal property described below to enforce a lien imposed on said property under The Florida Self Storage Facility Act. Bidding takes place on lockerfox.com and concludes Thursday the 26th day of September, 2024 at 10:00 AM with payment at the facility. Store Space Durbin Park, 1195 Saint Johns Parkway, Jacksonville, FL, 32259. Haidee Nardozi ; Paul Askew ; Sherell Johnson ; Morgan Ford ; Matthew Kilgore ; Mariah Bedford ; Store Space San Marco, 1820 Kings Ave., Jacksonville, FL, 32207. Pierre Pablo ; Dasani Griffin ; Casandra Whitehead ; Tiffany Norris ; Anthony Terry ; Alfred Chambliss ; Carlexia Richardson ; Leroy Mosley ; Aljiray Fennell ; Sherri Howard ; Quinton Willis ; Ron Holzendorf ; Tiana Myers ; Jackqulyn Cheatum ; Cheyanna Rudd ; Lisa Reynolds ; Yanikie M Coombs ; Arthur Freeman ; Anthony Jones ; Marva Hendrix ; Eugene Barron ; Kevin Dillow ; Holly Bourgeois Sep. 5/12 00 (24-05551D)

FIRST INSERTION

IN THE CIRCUIT COURT OF THE FOURTH JUDICIAL CIRCUIT IN AND FOR DUVAL COUNTY, FLORIDA. CIVIL DIVISION CASE NO. 16-2024-CA-004225

Division: FC-A NEWREZ LLC D/B/A SHELLPOINT MORTGAGE SERVICING, Plaintiff, vs.

SUSAN A. FLAKE A/K/A

SUSAN FLAKE; CITY OF JACKSONVILLE, FLORIDA; UNKNOWN TENANT NO. 1; UNKNOWN TENANT NO. 2; and ALL UNKNOWN PARTIES CLAIMING INTERESTS BY, THROUGH, UNDER OR AGAINST A NAMED DEFENDANT TO THIS ACTION, OR HAVING OR CLAIMING TO HAVE ANY RIGHT, TITLE OR INTEREST IN THE PROPERTY HEREIN DESCRIBED, Defendant(s).

NOTICE OF ACTION

TO: SUSAN A. FLAKE A/K/A

SUSAN FLAKE

Last Known Address

350 E 46TH ST JACKSONVILLE, FL 32208

Current Residence is

Unknown

YOU ARE NOTIFIED that an action to foreclose a mortgage on the following described property in Duval County, Florida: LOT 304, EDMONSON’S MAIN STREET ESTATES, ACCORDING TO THE PLAT

THEREOF AS RECORDED IN PLAT BOOK 15, PAGE 7 5, OF THE CURRENT PUBLIC

FIRST INSERTION

IN THE CIRCUIT COURT FOR DUVAL COUNTY, FLORIDA PROBATE DIVISION

File No. 16-2024-CP-001476

Division PR-A IN RE: ESTATE OF MARIAN GUTIERREZ, Deceased.

NOTICE TO CREDITORS

The administration of the estate of MARIAN GUTIERREZ, deceased, whose date of death was February 25, 2024, is pending in the Circuit Court for Duval County, Florida, Probate Division, the address of which is 501 W Adams Street, Jacksonville, FL 32202. The names and addresses of the personal representative and the personal representative’s attorney are set forth below.

All creditors of the decedent and other persons having claims or demands against decedent’s estate, on whom a copy of this notice is required to be served, must file their claims with this court ON OR BEFORE THE LATER OF 3 MONTHS AFTER THE TIME OF THE FIRST PUBLICATION OF THIS NOTICE OR 30 DAYS AFTER THE DATE OF SERVICE OF A COPY OF THIS NOTICE ON THEM.

All other creditors of the decedent and other persons having claims or demands against decedent’s estate must file their claims with this court WITHIN 3 MONTHS AFTER THE DATE OF THE FIRST PUBLICATION OF THIS NOTICE.

ALL CLAIMS NOT FILED WITHIN THE TIME PERIODS SET FORTH IN FLORIDA STATUTES SECTION 733.702 WILL BE FOREVER BARRED. NOTWITHSTANDING THE TIME PERIOD SET FORTH ABOVE, ANY CLAIM FILED TWO (2) YEARS OR MORE AFTER THE DECEDENT’S DATE OF DEATH IS BARRED.

A personal representative or curator has no duty to discover whether any property held at the time of the decedent’s death by the decedent or the decedent’s surviving spouse is property to which the Florida Uniform Disposition of Community Property Rights at Death Act as described in sections 732.216-732.228, applies, or may apply, unless a written demand is made by a creditor as specified under section 732.2211.

The date of first publication of this notice is September 5, 2024.

RIZALINO GUTIERREZ

Personal Representative 2141 Geneve St. Jacksonville, FL 32207

Edward P. Jackson

Attorney for Personal Representative Florida Bar No. 286648

Edward P. Jackson, P.A. 255 N. Liberty St Jacksonville, Florida 32202 Email: edward@edwardpjackson.com Sep. 5/12 00 (24-05612D)

IN THE COUNTY COURT, IN AND FOR DUVAL COUNTY, FLORIDA

CASE NO.: 16-2023-CC-016726

DIVISION: CC-G

RECORDS OF DUVAL COUNTY, FLORIDA. has been filed against you and you are required to serve a copy of your written defenses, if any, to it on Diaz Anselmo & Associates, P.A., Plaintiff’s attorneys, whose address is P .0. BOX 19519, Fort Lauderdale, FL 33318, (954) 5640071, answers@dallegal.com, within 30 days from first date of publication, and file the original with the Clerk of this Court either before service on Plaintiffs attorneys or immediately thereafter; otherwise a default will be entered against you for the relief demanded in the complaint or petition.

Americans With Disabilities Act (ADA) Notice In accordance with the Americans with Disabilities Act of 1990 (ADA), If you are a person with a disability who needs any accommodation in order to participate in this proceeding, you are entitled at no cost to you, to the provision of certain assistance. Please contact the ADA Coordinator at crtintrp@coj.net or (904) 2551695 at least 7 days before your scheduled court appearance, or immediately upon receiving this notification if the time before the scheduled appearance is less than 7 days; if you are hearing or voice impaired, call 711. DATED on August 29th, 2024. JODY PHILLIPS As Clerk of the Court By: Pamela R. Harrell As Deputy Clerk (Court Seal) 1496-205610 / VP2 Sep. 5/12 00 (24-05606D)

FIRST INSERTION IN THE CIRCUIT COURT FOR DUVAL COUNTY, FLORIDA

PROBATE DIVISION

File No. 16-2024-CP-002321 Division PR-B IN RE: ESTATE OF FLORENCE SILCOX

Deceased.

NOTICE TO CREDITORS

The administration of the estate of Florence Silcox, deceased, whose date of death was May 20, 2024, is pending in the Circuit Court for Duval County, Florida, Probate Division, the address of which is 501 W. Adams Street, Jacksonville, Florida 32202. The names and addresses of the personal representative and the personal representative’s attorney are set forth below.

All creditors of the decedent and other persons having claims or demands against decedent’s estate on whom a copy of this notice is required to be served must file their claims with this court ON OR BEFORE THE LATER OF 3 MONTHS AFTER THE TIME OF THE FIRST PUBLICATION OF THIS NOTICE OR 30 DAYS AFTER THE DATE OF SERVICE OF A COPY OF THIS NOTICE ON THEM.

All other creditors of the decedent and other persons having claims or demands against decedent’s estate must file their claims with this court WITHIN 3 MONTHS AFTER THE DATE OF THE FIRST PUBLICATION OF THIS NOTICE. ALL CLAIMS NOT FILED WITHIN THE TIME PERIODS SET FORTH IN FLORIDA STATUTES SECTION 733.702 WILL BE FOREVER BARRED. NOTWITHSTANDING THE TIME PERIODS SET FORTH ABOVE, ANY CLAIM FILED TWO (2) YEARS OR MORE AFTER THE DECEDENT’S DATE OF DEATH IS BARRED.

A personal representative or curator has no duty to discover whether any property held at the time of the decedent’s death by the decedent or the decedent’s surviving spouse is property to which the Florida Uniform Disposition of Community Property Rights at Death Act as described in sections 732.216-732.228, applies, or may apply, unless a written demand is made by a creditor as specified under section 732.2211.

The date of first publication of this notice is September 5, 2024.

Personal Representative: Michelle Bottomley 303 15th Street South Jacksonville Beach, Florida 32250

Attorney for Personal Representative: Kimberly A. Gossett

Attorney Florida Bar Number: 0123536 2850-50 Isabella Boulevard Jacksonville Beach, FL 32250 Telephone: (904) 372-0185 Fax: (904) 212-0877

E-Mail: kgossett@beacheselderlaw.com Sep. 5/12 00 (24-05628D)

FIRST INSERTION

IN THE CIRCUIT COURT FOR DUVAL COUNTY, FLORIDA PROBATE DIVISION

File No: 16-2024-CP-001914

Division: PR-A IN RE: THE ESTATE OF VICTORIA REDDICK, Deceased.

NOTICE TO CREDITORS (Summary Administration) TO ALL PERSONS HAVING CLAIMS OR DEMANDS AGAINST THE ABOVE ESTATE: The administration of the estate of VICTORIA REDDICK, whose date of death was January 26, 2023, is pending in the Probate Division of the Fourth Judicial Circuit Court, Duval County Courthouse, 501 W Adams Street, Jacksonville FL 32202. The names and addresses of the petitioner and petitioner’s attorney are set forth below.

All creditors of the decedent and other persons having claims or demands against decedent’s estate must file their claims with this court ON OR BEFORE THE LATER OF 3 MONTHS AFTER THE TIME OF THE FIRST PUBLICATION OF THIS NOTICE OR 30 DAYS AFTER THE DATE OF SERVICE OF A COPY OF THIS NOTICE ON THEM.

All other creditors of the decedent and other persons having claims or demands against decedent’s estate must file their claims with this court WITHIN 3 MONTHS AFTER THE DATE OF THE FIRST PUBLICATION OF THIS NOTICE.

ALL CLAIMS NOT FILED WITHIN THE TIME PERIODS SET FORTH IN FLORIDA STATUTES SECTION 733.702 WILL BE FOREVER BARRED. NOTWITHSTANDING THE TIME PERIODS SET FORTH ABOVE, ANY CLAIM FILED TWO YEARS OR MORE AFTER THE DECEDENT’S DATE OF DEATH IS BARRED.

The personal representative has no duty to discover whether any property held at the time of the decedent’s death by the decedent or the decedent’s surviving spouse is property to which the Florida Uniform Disposition of Community Property Rights at Death Act as described in ss. 732.216732.228, Florida Statutes, applies, or may apply, unless a written demand is made by a creditor as specified under s. 732.2211, Florida Statutes.

The date of first publication of this Notice is September 5, 2024. Person Giving Notice: Samuel Reddick III 4104 N Davis Street Jacksonville, FL 32209 Attorney for Person Giving Notice: Carol S. Miller Fla Bar No: 304050 Jacksonville Area Legal Aid, Inc 126 W. Adams Street Jacksonville, FL 32202 carol.miller@jaxlegalaid.org Sep. 5/12 00 (24-05555D)

DUVAL COUNTY

FIRST INSERTION IN THE CIRCUIT COURT, FOURTH JUDICIAL CIRCUIT IN AND FOR DUVAL COUNTY, FLORIDA

PROBATE DIVISION CASE NO: 16-2024-CP-002100

DIVISION: PR-A IN RE: ESTATE OF GLENN WARREN YEAROUS, Deceased. NOTICE TO CREDITORS The administration of the estate of Glenn Warren Yearous, deceased, whose date of death was January 25, 2024, is pending in the Circuit Court for Duval County, Florida, Probate Division, the address of which is 501 W. Adams Street, Jacksonville, FL 32202. The names and addresses of the personal representative and the personal representative’s attorney are set forth below. All creditors of the decedent and other persons having claims or demands against decedent’s estate on whom a copy of this notice is required to be served must file their claims with this court ON OR BEFORE THE LATER OF 3 MONTHS AFTER THE TIME OF THE FIRST PUBLICATION OF THIS NOTICE OR 30 DAYS AFTER THE DATE OF SERVICE OF A COPY OF THIS NOTICE ON THEM. All other creditors of the decedent and other persons having claims or demands against decedent’s estate must file their claims with this court WITHIN 3 MONTHS AFTER THE DATE OF THE FIRST PUBLICATION OF THIS NOTICE. ALL CLAIMS NOT FILED WITHIN THE TIME PERIODS SET FORTH IN FLORIDA STATUTES SECTION 733.702 WILL BE FOREVER BARRED. NOTWITHSTANDING THE TIME PERIODS SET FORTH ABOVE, ANY CLAIM FILED TWO (2) YEARS OR MORE AFTER THE DECEDENT’S DATE OF DEATH IS BARRED. The personal representative has no duty to discover whether any property held at the time of the decedent’s death by the decedent or the decedent’s surviving spouse is property to which the Florida Uniform Disposition of Community Property Rights at Death Act as described in ss. 732.216732.228, Florida Statutes, applies, or may apply, unless a written demand is made by a creditor as specified under s. 732.2211, Florida Statutes. The date of first publication of this Notice is September 5, 2024. Personal Representative: Glenn O. Yearous Attorney for Personal Representative: Felicia A. Wilcox, Esq. Florida Bar Number: 0088854 Law Office of Felicia Wilcox, P.A. 301 W. Bay Street, Suite 1486 Jacksonville, FL 32202 Telephone: (904) 329-7265 Facsimile: (904) 212-5719

E-Mail: felicia@wilcoxlawpractice.com Sep. 5/12 00 (24-05581D)

SUGAR MILL FOUR CONDOMINIUM ASSOCIATION, INC., a Florida not for profit corporation, Plaintiff, v. JADE NAONJE’ OLOVER, Heir, And The Unknown Spouse, Heirs, Devisees, Grantees, Assignees, Lienors, Creditors, Or Any Other Parties Claiming By, Through, Under, Or Against The Estate Of Norma Oliver a/k/a Norma Jean Oliver, Deceased #1 and #2, Defendants.

NOTICE OF ACTION

TO: The Unknown Spouse, Heirs, Devisees, Grantees, Assignees, Lienors, Creditors, Or Any Other Parties Claiming By, Through, Under, Or Against The Estate Of Norma Oliver a/k/a Norma Jean Oliver, Deceased #1 3801 Crown Point Road #2152, Jacksonville, FL 32257. Current Address Unknown

YOU ARE NOTIFIED that an action to foreclose a Claim Of Lien on the following property in Duval County, Florida Unit 2152, Sugar Mill Four, a Condominium, according to the Declaration of Condominium thereof, recorded in Official Records Volume 5775, Page 59, and any amendments thereof. Together with an undivided interest in the Common Elements of the Condominium, and all other appurtenances according to the said Declaration of Condominium, all recorded in

the public records of Duval County, Florida. Property Address: 3801 Crown Point Road, #2152, Jacksonville, FL 32257 has been filed against you and you are required to serve a copy of your written defenses within thirty (30) days after the first publication upon Michael A Kolcun, Attorney at Law, Suite 15 - 193, 11250 Old St. Augustine Road, Jacksonville, FL 32257, Telephone 904.260.0002, eMail kolcunlawoffice@att.net, and file the original with the Clerk of this Court either before service on Plaintiff’s attorney or immediately thereafter; otherwise, a Default will be entered against you for the relief demanded in the Complaint. This Notice shall be published once a week for two (2) consecutive weeks in the Jacksonville Daily Record.

Americans With Disabilities Act (ADA) Notice In accordance with the Americans with Disabilities Act of 1990 (ADA), If you are a person with a disability who needs any accommodation in order to participate in this proceeding, you are entitled at no cost to you, to the provision of certain assistance. Please contact the ADA Coordinator at crtintrp@coj.net or (904) 2551695 at least 7 days before your scheduled court appearance, or immediately upon receiving this notification if the time before the scheduled appearance is less than 7 days; if you are hearing or voice impaired, call 711. Witness my hand and seal of this Court on this 27th day of August, 2024. JODY PHILLIPS, As Clerk of Court By: Pamela R.

As Deputy Clerk (Court Seal) Sep. 5/12 00 (24-05577D)

IN THE CIRCUIT COURT OF THE FOURTH JUDICIAL CIRCUIT IN AND FOR DUVAL COUNTY, FLORIDA GENERAL JURISDICTION DIVISION CASE NO. 16-2023-CA-011748

DIVISION: FC-E U.S. BANK NATIONAL ASSOCIATION, Plaintiff, vs. AUSTIN JACQUES SADLER, SAMUEL BERNARD JILES IV AND JORDAN LA’ KINDRED JILES, et al. Defendant(s). NOTICE OF FORECLOSURE SALE NOTICE IS HEREBY GIVEN pursuant to a Final Judgment of Foreclosure dated May 20, 2024, and entered in 16-2023CA-011748 of the Circuit Court of the FOURTH Judicial Circuit in and for Duval County, Florida, wherein U.S. BANK NATIONAL ASSOCIATION is the Plaintiff and AUSTIN JACQUES SADLER; UNKNOWN SPOUSE OF AUSTIN JACQUES SADLER; SAMUEL BERNARD JILES IV; JORDAN LA’ KINDRED JILES; COURTNEY ALYSE FOSTER; FLORIDA HOUSING FINANCE CORPORATION; UNITED STATES OF AMERICA, ACTING ON BEHALF OF THE SECRETARY OF HOUSING AND URBAN DEVELOPMENT; CITY OF JACKSONVILLE, A FLORIDA MUNICIPAL CORPORATION; JM ASSOCIATES FEDERAL CREDIT UNION; STATE OF FLORIDA DEPARTMENT OF REVENUE; CLERK OF COURT OF DUVAL COUNTY, FLORIDA are the Defendant(s). Jody Phillips as the Clerk of the Circuit Court will sell to the highest and best bidder for cash at: www.duval.realforeclose.com at 11:00 AM, on on September 25, 2024, the following described

property as set forth in said Final Judgment, to wit: LOT 1E, BLOCK 7, LEXINGTON SQUARE UNIT ONE C, ACCORDING TO PLAT THEREOF AS RECORDED IN PLAT BOOK 42, PAGE 86, 86A AND 86B OF THE CURRENT PUBLIC RECORDS OF DUVAL COUNTY, FLORIDA Property Address: 5528 N CABOT DR, JACKSONVILLE, FL 32244

Any person claiming an interest in the surplus from the sale, if any, other than the property owner as of the date of the lis pendens must file a claim in accordance with Florida Statutes, Section 45.031. Americans With Disabilities Act (ADA) Notice In accordance with the Americans with Disabilities Act of 1990 (ADA), If you are a person with a disability who needs any accommodation in order to participate in this proceeding, you are entitled at no cost to you, to the provision of certain assistance. Please contact the ADA Coordinator at crtintrp@coj.net or (904) 2551695 at least 7 days before your scheduled court appearance, or immediately upon receiving this notification if the time before the scheduled appearance is less than 7 days; if you are hearing or voice impaired, call 711. Dated this 28th day of August, 2024.

JODY

PUBLIC NOTICES DUVAL COUNTY

FIRST INSERTION

NOTICE OF PUBLIC HEARINGS

NOTICE is hereby given that public hearings will be held by the City Council on Tuesday, September 24, 2024, at 5:00 p.m., and by the Land Use and Zoning Committee on Tuesday, October 1, 2024, at 5:00 p.m. in the Council Chambers, 1st Floor, City Hall, 117 West Duval Street, St. James Building, Jacksonville, FL, 32202 concerning: Ordinance No. 2024-682 (E-24-42) AN ORDINANCE APPROVING APPLICATION FOR ZONING EXCEPTION E-24-42 FOR PROPERTY LOCATED IN COUNCIL DISTRICT 11 AT 9940 OLD BAYMEADOWS ROAD, BETWEEN SOUTHSIDE BOULEVARD AND BAYMEADOWS ROAD (R.E. NO(S). 148633-1000), AS DESCRIBED HEREIN, OWNED BY DEERWOOD VILLAGE MALL, L.C., REQUESTING 1) AN ESTABLISHMENT OR FACILITY WHICH INCLUDES THE RETAIL SALE AND SERVICE OF ALL ALCOHOLIC BEVERAGES INCLUDING LIQUOR, BEER OR WINE FOR ON-PREMISES CONSUMPTION, AND 2) PERMANENT OR RESTRICTED OUTSIDE SALE AND SERVICE

NOTICE OF PUBLIC MEETINGS AND HEARINGS NOTICE is hereby given that there will be a public meeting held by the Jacksonville Planning Commission on Thursday, September 19, 2024 at 1:00 p.m. in the Edward Ball Building, 1st Floor Hearing Room 1002, 214 North Hogan Street, Jacksonville, Florida 32202 and the following public hearings will be held by the City Council on Tuesday, September 24, 2024 at 5:00 p.m., by the Land Use and Zoning Committee on Tuesday October 1, 2024 at 5:00 p.m. and by the 2nd City Council on Tuesday, October 8, 2024 at 5:00 p.m. in the Council Chambers, 1st floor, City Hall, 117 West Duval Street, St. James Building, Jacksonville, FL, concerning: Ordinance No. 2024-674 AN ORDINANCE REZONING APPROXIMATELY 0.21+ ACRES LOCATED IN COUNCIL DISTRICT 9 AT 735 CANAL STREET, BETWEEN BROADWAY AVENUE AND MCQUADE STREET (R.E. NO. 0773590000), OWNED BY 4149 ST. AUGUSTINE ROAD, LLC, AS DESCRIBED HEREIN, FROM RESIDENTIAL MEDIUM DENSITY-A (RMD-A) DISTRICT TO

IN CONJUNCTION WITH A RESTAURANT, MEETING THE PERFORMANCE STANDARDS AND DEVELOPMENT CRITERIA SET FORTH IN PART 4, FOR OHJAX5, LLC, D/B/A SCRAMBLERS, IN THE CN DISTRICT, AS DEFINED AND CLASSIFIED UNDER THE ZONING CODE; ADOPTING RECOMMENDED FINDINGS AND CONCLUSIONS OF THE LAND USE AND ZONING COMMITTEE; PROVIDING FOR DISTRIBUTION; PROVIDING AN EFFECTIVE DATE. A copy of the ordinance containing the legal description is available for public inspection in the Council Legislative Services Division, Suite 430, City Hall. Additional information concerning this rezoning may be obtained by contacting the Planning and Development Department at 255-7865. All interested parties may appear at the meeting and be heard with respect to the proposed ordinance. Please visit www.coj.net for meeting information and COVID19 procedures/precautions for accessing public buildings. Margaret M. Sidman City Council Secretary Dated this 30th day of August 2024. Sep. 5 00 (24-05596D)

INDUSTRIAL BUSINESS PARK (IBP) DISTRICT, AS DEFINED AND CLASSIFIED UNDER THE ZONING CODE, PURSUANT TO FUTURE LAND USE MAP SERIES SMALL SCALE AMENDMENT APPLICATION NUMBER L-5964-24C; PROVIDING A DISCLAIMER THAT THE REZONING GRANTED HEREIN SHALL NOT BE CONSTRUED AS AN EXEMPTION FROM ANY OTHER APPLICABLE LAWS; PROVIDING AN EFFECTIVE DATE.

A copy of the ordinance containing the legal description is available for public inspection in the Council Legislative Services Division, Suite 430, City Hall. Additional information concerning this rezoning may be obtained by contacting the Planning and Development Department at 255-7865. All interested parties may appear at the meeting and be heard with respect to the proposed ordinance. Please visit www.coj.net for meeting information and COVID19 procedures/precautions for accessing public buildings. Margaret M. Sidman City Council Secretary Dated this 30th day of August 2024. Sep. 5 00 (24-05591D)

FIRST INSERTION

NOTICE OF PUBLIC MEETINGS AND HEARINGS

NOTICE is hereby given that there will be a public meeting held by the Jacksonville Planning Commission on Thursday, September 19, 2024 at 1:00 p.m. in the Edward Ball Building, 1st Floor Hearing Room 1002, 214 North Hogan Street, Jacksonville, Florida 32202 and the following public hearings will be held by the City Council on Tuesday, September 24, 2024 at 5:00 p.m., by the Land Use and Zoning Committee on Tuesday, October 1, 2024 at 5:00 p.m. and by the 2nd City Council on Tuesday, October 8 2024 at 5:00 p.m. in the Council Chambers, 1st floor, City Hall, 117 West Duval Street, St. James Building, Jacksonville, FL, concerning: Ordinance No. 2024-670 AN ORDINANCE REZONING APPROXIMATELY 33.10+ ACRES, LOCATED IN COUNCIL DISTRICT 8 AT 0, 16485 AND 16535 MAIN STREET N., BETWEEN POND RUN LANE AND YELLOW BLUFF ROAD (R.E. NO(S). 108195-0000, 108194-0000, 108096-0000, 108098-0000 AND 1084150200), AS DESCRIBED HEREIN, OWNED BY JOSEPH G, LLC, SARAH MCNAIR, VISION BAPTIST CHURCH, INC., FLA TRUST SERVICES, LLC AS TRUSTEE OF FLORIDA LAND TRUST AND CAREN E. FELKER, PAUL J. FELKER AND ROBERT S. FELKER, AS TRUSTEES OF THE SESSIONS FAMILY TRUST, FROM RESIDENTIAL RURAL-ACRE (RR-ACRE) DISTRICT AND PLANNED UNIT DEVELOPMENT (PUD) DISTRICT (2022-198-E) TO PLANNED UNIT DEVELOPMENT (PUD) DISTRICT, AS DEFINED AND CLASSIFIED UNDER THE ZONING CODE, TO PERMIT SINGLE-FAMILY RESIDENTIAL USES, AS DESCRIBED IN THE NORTH MAIN STREET PUD, PURSU-

FIRST INSERTION

NOTICE OF PUBLIC MEETINGS AND HEARINGS NOTICE is hereby given that there will be a public meeting held by the Jacksonville Planning Commission on Thursday, September 19, 2024 at 1:00 p.m. in the Edward Ball Building, 1st Floor Hearing Room 1002, 214 North Hogan Street, Jacksonville, Florida 32202 and the following public hearings will be held by the City Council on Tuesday, September 24, 2024 at 5:00 p.m., by the Land Use and Zoning Committee on Tuesday October 1, 2024 at 5:00 p.m. in the Council Chambers, 1st floor, City Hall, 117 West Duval Street, St. James Building, Jacksonville, FL, concerning: Ordinance No. 2024-681 AN ORDINANCE REZONING), APPROXIMATELY 10.25+ ACRES LOCATED IN COUNCIL DISTRICT 5 AT 7373 OLD KINGS ROAD S., BETWEEN TOLEDO ROAD AND POWERS AVENUE (R.E. NO. 1479981200), AS DESCRIBED HEREIN, OWNED BY THE YOUNG MEN’S CHRISTIAN ASSOCIATION OF FLORIDA’S FIRST COAST, INC., FROM PUBLIC BUILDING AND FACILITIES-2

NOTICE OF PUBLIC MEETINGS AND HEARINGS

NOTICE is hereby given that there will be a public meeting held by the Jacksonville Planning Commission on Thursday, September 19, 2024 at 1:00 p.m. in the Edward Ball Building, 1st Floor Hearing Room 1002, 214 North Hogan Street, Jacksonville, Florida 32202 and the following public hearings will be held by the City Council on Tuesday, September 24, 2024 at 5:00 p.m., by the Land Use and Zoning Committee on Tuesday, October 1, 2024 at 5:00 p.m. and by the 2nd City Council on Tuesday, October 8, 2024 at 5:00 p.m. in the Council Chambers, 1st floor, City Hall, 117 West Duval Street, St. James Building, Jacksonville, FL, concerning: Ordinance No. 2024-664

(PBF-2) DISTRICT TO RESIDENTIAL MEDIUM DENSITY-D (RMD-D) DISTRICT, AS DEFINED AND CLASSIFIED UNDER THE ZONING CODE; PROVIDING A DISCLAIMER THAT THE REZONING GRANTED HEREIN SHALL NOT BE CONSTRUED AS AN EXEMPTION FROM ANY OTHER APPLICABLE LAWS; PROVIDING AN EFFECTIVE DATE.

A copy of the ordinance containing the legal description is available for public inspection in the Council Legislative Services Division, Suite 430, City Hall. Additional information concerning this rezoning may be obtained by contacting the Planning and Development Department at 255-7865. All interested parties may appear at the meeting and be heard with respect to the proposed ordinance. Please visit www.coj.net for meeting information and COVID19 procedures/precautions for accessing public buildings.

Margaret M. Sidman City Council Secretary Dated this 30th day of August 2024. Sep. 5 00 (24-05595D)

CATION NUMBER L-5963-24C; PROVIDING A DISCLAIMER THAT THE REZONING GRANTED HEREIN SHALL NOT BE CONSTRUED AS AN EXEMPTION FROM ANY OTHER APPLICABLE LAWS; PROVIDING AN EFFECTIVE DATE.

FIRST INSERTION

NOTICE OF PUBLIC HEARINGS NOTICE is hereby given that public hearings will be held by the City Council on Tuesday, September 24, 2024, at 5:00 p.m., and by the Land Use and Zoning Committee on Tuesday, October 1, 2024, at 5:00 p.m. in the Council Chambers, 1st Floor, City Hall, 117 West Duval Street, St. James Building, Jacksonville, FL, 32202 concerning: Ordinance No. 2024-683 (E-24-43) AN ORDINANCE APPROVING APPLICATION FOR ZONING EXCEPTION E-24-43 FOR PROPERTY LOCATED IN COUNCIL DISTRICT 5 AT 1500 UNIVERSITY BOULEVARD WEST, BETWEEN SAN JOSE BOULEVARD AND DUKE ROAD (R.E. NO(S). 147032-0000), AS DESCRIBED HEREIN, OWNED BY GENERAL PROPERTY SUPPORT, INC. AS TRUSTEE OF LAKEWOOD SOUTH LAND TRUST, REQUESTING 1) AN ESTABLISHMENT OR FACILITY WHICH INCLUDES THE RETAIL SALE AND SERVICE OF ALL ALCOHOLIC BEVERAGES INCLUDING LIQUOR, BEER OR WINE FOR ON-PREMISES CONSUMPTION AND 2) PERMANENT OR RESTRICTED OUTSIDE SALE AND SERVICE, MEETING THE

PERFORMANCE STANDARDS AND DEVELOPMENT CRITERIA SET FORTH IN PART 4 OF CHAPTER 656, ORDINANCE CODE, FOR OHJAX5, LLC (DBA) SCRAMBLERS, IN THE COMMERCIAL COMMUNITY/ GENERAL-1 (CCG-1) DISTRICT, AS DEFINED AND CLASSIFIED UNDER THE ZONING CODE; ADOPTING RECOMMENDED FINDINGS AND CONCLUSIONS OF THE LAND USE AND ZONING COMMITTEE; PROVIDING FOR DISTRIBUTION; PROVIDING AN EFFECTIVE DATE. A copy of the ordinance containing the legal description is available for public inspection in the Council Legislative Services Division, Suite 430, City Hall. Additional information concerning this rezoning may be obtained by contacting the Planning and Development Department at 255-7865. All interested parties may appear at the meeting and be heard with respect to the proposed ordinance. Please visit www.coj.net for meeting information and COVID19 procedures/precautions for accessing public buildings.

Margaret M. Sidman City Council Secretary Dated this 30th day of August 2024. Sep. 5 00 (24-05597D)

FIRST INSERTION

ANT TO FUTURE LAND USE MAP SERIES (FLUMS) SMALLSCALE AMENDMENT APPLICATION NUMBER L-5951-24C; PROVIDING A DISCLAIMER THAT THE REZONING GRANTED HEREIN SHALL NOT BE CONSTRUED AS AN EXEMPTION FROM ANY OTHER APPLICABLE LAWS; PROVIDING AN EFFECTIVE DATE.

A copy of the ordinance containing the legal description is available for public inspection in the Council Legislative Services Division, Suite 430, City Hall. Additional information concerning this rezoning may be obtained by contacting the Planning and Development Department at 255-7865. All interested parties may appear at the meeting and be heard with respect to the proposed ordinance. Curtis Hart, agent for Joseph G, LLC, Florida Land Trust, Vision Baptist Church Inc. and Sessions Family Trust, the property owners, proposes through Application for Planned Unit Development 2024-670 to rezone approximately 33.10 acres of property from Residential Rural-Acre (RR-Acre) and Planned Unit Development (PUD) to Planned Unit Development (PUD) located at 0 North Main Street between Yellow Bluff Road and Satsuma Street. The request is to permit a maximum of 118 single family dwellings on the subject property. This PUD application is a companion to a pending application for Small scale land use amendment (L-5951-24C) for that portion of the property located in the Rural Residential (RR) land use designation. Please visit www.coj.net for meeting information and COVID19 procedures/precautions for accessing public buildings. Margaret M. Sidman City Council Secretary Dated this 30th day of August 2024. Sep. 5 00 (24-05589D)

AN ORDINANCE REZONING APPROXIMATELY 2.00+ ACRES LOCATED IN COUNCIL DISTRICT 12 AT 7827 JONES RD., ON THE SOUTHEAST CORNER OF JONES RD. AND GARDEN ST. (R.E. NO(S). 002893-0040), AS DESCRIBED HEREIN, OWNED BY DAVID WAYNE ESTES, FROM AGRICULTURE (AGR) DISTRICT TO PLANNED UNIT DEVELOPMENT (PUD) DISTRICT, AS DEFINED AND CLASSIFIED UNDER THE ZONING CODE, TO PERMIT OUTSIDE STORAGE USES, AS DESCRIBED IN THE JONES RD RV & BOAT STORAGE PUD, PURSUANT TO FUTURE LAND USE MAP SERIES (FLUMS) SMALLSCALE AMENDMENT APPLI-

A copy of the ordinance containing the legal description is available for public inspection in the Council Legislative Services Division, Suite 430, City Hall. Additional information concerning this rezoning may be obtained by contacting the Planning and Development Department at 255-7865. All interested parties may appear at the meeting and be heard with respect to the proposed ordinance. Application for rezoning 20240664 seeks to rezone approximately 2.00 acres of land from Agriculture (AGR) to Planned Unit Development (PUD). The property is located at 7827 Jones Road, on the southeast corner of Jones Road and Garden Street. The agent is Shelia Estes, 8637 Andaloma Street Jacksonville, Florida 32211; (239) 292-0726.

The rezoning to PUD is being sought to allow for personal property storage including the outside storage of RVs, boats, and trailers. Please visit www.coj.net for meeting information and COVID19 procedures/precautions for accessing public buildings.

Margaret M. Sidman City Council Secretary Dated this 30th day of August 2024. Sep. 5 00 (24-05586D)

FIRST INSERTION

NOTICE OF PUBLIC

MEETINGS AND HEARINGS

NOTICE is hereby given that there will be a public meeting held by the Jacksonville Planning Commission on Thursday, September 19, 2024 at 1:00 p.m. in the Edward Ball Building, 1st Floor Hearing Room 1002, 214 North Hogan Street, Jacksonville, Florida 32202 and the following public hearings will be held by the City Council on Tuesday, September 24, 2024 at 5:00 p.m., by the Land Use and Zoning Committee on Tuesday, October 1, 2024 at 5:00 p.m. and by the 2nd City Council on Tuesday, October 8, 2024 at 5:00 p.m. in the Council Chambers, 1st floor, City Hall, 117 West Duval Street, St. James Building, Jacksonville, FL, concerning: Ordinance No. 2024-666 AN ORDINANCE REZONING APPROXIMATELY 2.62+ ACRES LOCATED IN COUNCIL DISTRICT 9 AT 0 WILSON BLVD., BETWEEN OLD MIDDLEBURG RD. AND FOURAKER RD. (R.E. NO(S). 012499-0000), AS DESCRIBED HEREIN, OWNED BY LANDEN’S WALK, LLC FROM COMMERCIAL RESIDENTIAL AND OFFICE (CRO) DISTRICT TO PLANNED UNIT DEVELOPMENT (PUD) DISTRICT, AS DEFINED AND CLASSIFIED UNDER THE ZONING CODE, TO PERMIT OFFICE AND WAREHOUSE USES, AS DESCRIBED IN THE WILSON BOULEVARD BUSINESS PARK PUD, PURSUANT TO FUTURE LAND USE MAP SERIES (FLUMS) SMALLSCALE AMENDMENT APPLICATION NUMBER L-5953-24C; PROVIDING A DISCLAIM-

ER THAT THE REZONING GRANTED HEREIN SHALL NOT BE CONSTRUED AS AN EXEMPTION FROM ANY OTHER APPLICABLE LAWS; PROVIDING AN EFFECTIVE DATE.

A copy of the ordinance containing the legal description is available for public inspection in the Council Legislative Services Division, Suite 430, City Hall. Additional information concerning this rezoning may be obtained by contacting the Planning and Development Department at 255-7865. All interested parties may appear at the meeting and be heard with respect to the proposed ordinance. Chris Hagan, agent for Landens Walk, LLC, the property owner, proposes through Application for Planned Unit Development 2024666 to rezone approximately 2.62 acres of property from Commercial Office Residential (CRO) to Planned Unit Development (PUD) located at 0 Wilson Blvd., between Paleface Place and Old Middleburg Road North. The request is to permit the development of flex space/office warehouses on the subject property. This PUD application is a companion to a pending application for Small scale land use amendment (L-5953-24C) for that portion of the property located in the Residential Professional Institutional (RPI) land use designation. Please visit www.coj.net for meeting information and COVID19 procedures/precautions for accessing public buildings.

Margaret M. Sidman City Council Secretary Dated this 30th day of August 2024. Sep. 5 00 (24-05587D)

NOTICE OF PUBLIC MEETINGS AND HEARINGS NOTICE is hereby given that there will be a public meeting held by the Jacksonville Planning Commission on Thursday, September 19, 2024 at 1:00 p.m. in the Edward Ball Building, 1st Floor Hearing Room 1002, 214 North Hogan Street, Jacksonville, Florida 32202 and the following public hearings will be held by the City Council on Tuesday, September 24, 2024 at 5:00 p.m., by the Land Use and Zoning Committee on Tuesday October 1, 2024 at 5:00 p.m. and by the 2nd City Council on Tuesday, October 8, 2024 at 5:00 p.m. in the Council Chambers, 1st floor, City Hall, 117 West Duval Street, St. James Building, Jacksonville, FL, concerning: Ordinance No. 2024-672 AN ORDINANCE REZONING APPROXIMATELY 46.00± ACRES LOCATED IN COUNCIL DISTRICT 2 AT 1941, 1955, 1981, 1984, 2005, 2012, 2032, 2033, 2049, 2109, 2110, 2123, 2128, 2230, 2241 AND 2248 ED JOHNSON DRIVE AND 0 YELLOW BLUFF ROAD, 15719 YELLOW BLUFF ROAD, EAST OF YELLOW BLUFF ROAD (R.E. NOS. 106151-0011, 1061510035, 106151-0018, 1061510016, 106151-0015, 106151-0025, 106151-0013, 106151-0080, 106151-0012, 106151-0022, 106151-0000 (A PORTION), 106151-0014, 106154-0030, 106154-0020, 106151-0035, 106150-0940, 106150-0970, 106150-1000, AND 106151-

NOTICE OF PUBLIC MEETINGS AND HEARINGS NOTICE is hereby given that there will be a public meeting held by the Jacksonville Planning Commission on Thursday, September 19, 2024 at 1:00 p.m. in the Edward Ball Building, 1st Floor Hearing Room 1002, 214 North Hogan Street, Jacksonville, Florida 32202 and the following public hearings will be held by the City Council on Tuesday, September 24, 2024 at 5:00 p.m., by the Land Use and Zoning Committee on Tuesday, October 1, 2024 at 5:00 p.m. and by the 2nd City Council on Tuesday, October 8, 2024 at 5:00 p.m. in the Council Chambers, 1st floor, City Hall, 117 West Duval Street, St. James Building, Jacksonville, FL, concerning: Ordinance No. 2024-661 AN ORDINANCE REZONING APPROXIMATELY 2.93+ ACRES LOCATED IN COUNCIL DISTRICT 11 AT 0 BAYMEADOWS WAY W., BETWEEN BAYMEADOWS WAY AND INTERSTATE-95 (R.E. NO. 1525782080), AS DESCRIBED HEREIN, OWNED BY LUXURY TOY VAULT, LLC, FROM PLANNED UNIT DEVELOPMENT (PUD) DISTRICT (1974-577-E) TO PLANNED UNIT DEVELOPMENT (PUD) DISTRICT, AS DEFINED AND CLASSIFIED UNDER THE ZONING CODE, TO PERMIT MULTI-FAMILY RESIDENTIAL DEVELOPMENT, AS DESCRIBED IN THE CYPRESS BAYMEADOWS PUD; PROVIDING A DISCLAIM-

0024), OWNED BY DONALDSON INVESTMENTS, LLC, AS DESCRIBED HEREIN, FROM RESIDENTIAL RURAL-ACRE (RR-ACRE) DISTRICT AND RESIDENTIAL LOW DENSITY-100A (RLD-100A) DISTRICT TO RESIDENTIAL LOW DENSITY-50 (RLD-50) DISTRICT, AS DEFINED AND CLASSIFIED UNDER THE ZONING CODE, PURSUANT TO FUTURE LAND USE MAP SERIES (FLUMS) SMALL-SCALE AMENDMENT APPLICATION NUMBER L-5948-24C; PROVIDING A DISCLAIMER THAT THE REZONING GRANTED HEREIN SHALL NOT BE CONSTRUED AS AN EXEMPTION FROM ANY OTHER APPLICABLE LAWS; PROVIDING AN EFFECTIVE DATE. A copy of the ordinance containing the legal description is available for public inspection in the Council Legislative Services Division, Suite 430, City Hall. Additional information concerning this rezoning may be obtained by contacting the Planning and Development Department at 255-7865. All interested parties may appear at the meeting and be heard with respect to the proposed ordinance. Please visit www.coj.net for meeting information and COVID19 procedures/precautions for accessing public buildings. Margaret M. Sidman City Council Secretary Dated this 30th day of August 2024. Sep. 5 00 (24-05590D)

ER THAT THE REZONING GRANTED HEREIN SHALL NOT BE CONSTRUED AS AN EXEMPTION FROM ANY OTHER APPLICABLE LAWS; PROVIDING AN EFFECTIVE DATE.

A copy of the ordinance containing the legal description is available for public inspection in the Council Legislative Services Division, Suite 430, City Hall. Additional information concerning this rezoning may be obtained by contacting the Planning and Development Department at 255-7865. All interested parties may appear at the meeting and be heard with respect to the proposed ordinance. Application for rezoning 20240661 seeks to rezone approximately 2.93 acres of land from Planned Unit Development (PUD 1974-577-E) to Planned Unit Development (PUD). The property is located at 0 Baymeadows Way West between Baymeadows Way and Interstate-95. The agent is Cyndy Trimmer, Esq., 1 Independent Drive, Suite 1200, Jacksonville, Florida 32204; (904) 807-0185. The rezoning to PUD is being sought to allow for 160 multi-family dwelling units. Please visit www.coj.net for meeting information and COVID19 procedures/precautions for accessing public buildings. Margaret M. Sidman City Council Secretary Dated this 16th day of August 2024. Sep. 5 00 (24-05585D)

PUBLIC NOTICES

FIRST INSERTION

NOTICE UNDER FICTITIOUS NAME LAW PURSUANT TO SECTION 865.09, FLORIDA STATUTES

NOTICE IS HEREBY GIVEN that the undersigned, desiring to engage in business under the Fictitious Name of AspenTech Digital Grid Management, with a mailing address of 4101 Arrowhead Dr., Medina, MN 55340, and a principal office located in Duval County, intends to register the said name with the FL Dept. of State, Div. of Corps., Tallahassee, FL. Owner: Open Systems International, Inc. Sep. 5 00 (24-05614D)

FIRST INSERTION

NOTICE OF PUBLIC SALE:

THOMPSON ENTERPRISES OF JACKSONVILLE, LLC gives notice that on 10/01/2024 at 10:00 AM the following vehicles(s) may be sold by public sale at 7600 BAILEY BODY RD. JACKSONVILLE FL 32216 to satisfy the lien for the amount owed on each vehicle for any recovery, towing, or storage services charges and administrative fees allowed pursuant to Florida statute 713.78.

1B4GP25302B647737 2002 DODG This notification is published in JACKSONVILLE DAILY RECORD on 09/05/2024. Sep. 5 00 (24-05616D)

FIRST INSERTION

NOTICE UNDER FICTITIOUS NAME LAW

According to Florida Statute Number 865.09

NOTICE IS HEREBY GIVEN that the undersigned, desiring to engage in business under the Fictitious Name of Providence School of Real Estate located at 12984 Quincy Bay Dr, in the City of Jacksonville, Duval County, Florida 32224 intends to register the said name with the Division of Corporations of the Department of State, Tallahassee, Florida.

Dated at Jacksonville, Florida, this 30th day of August, 2024. Susan M Howell Sep. 5 00 (24-05613D)

NOTICE OF SALE OF ABANDONED PROPERTY

The personal property of Perry Johnson Winters, Jr. and Carroll Lafayette Winters, comprising one (1) 2003 REDMAN Mobile Home, VIN 11438965, Title Number 0087078749, which is located at 2586 Constellation Court, Lot 1007, Jacksonville, Florida 32250, and its contents, will be sold at 14001 Beach Blvd., Jacksonville, Florida 32250, on Tuesday, 09/17/2024, at 10:00 A.M. Sep. 5/12 00 (24-05602D) FIRST INSERTION

FIRST INSERTION

NOTICE OF PUBLIC SALE:

THOMPSON ENTERPRISES OF JACKSONVILLE, LLC gives notice that on 09/30/2024 at 10:00 AM the following vehicles(s) may be sold by public sale at 7600 BAILEY BODY RD. JACKSONVILLE FL 32216 to satisfy the lien for the amount owed on each vehicle for any recovery, towing, or storage services charges and administrative fees allowed pursuant to Florida statute 713.78.

3VWLL7AJ5CM089678 2012 VOLK

This notification is published in JACKSONVILLE DAILY RECORD on 09/05/2024. Sep. 5 00 (24-05615D)

FIRST INSERTION

NOTICE UNDER FICTITIOUS NAME LAW

According to Florida Statute Number 865.09

NOTICE IS HEREBY GIVEN that the undersigned, desiring to engage in business under the Fictitious Name of Swish Development located at 7845 Baymeadows Way, in the City of Jacksonville, Duval County, Florida 32256 intends to register the said name with the Division of Corporations of the Department of State, Tallahassee, Florida. Dated at Jacksonville, Florida, this 30th day of August, 2024. Golf Asset Advisors, LLC Sep. 5 00 (24-05618D)

FIRST INSERTION

NOTICE OF PUBLIC HEARINGS NOTICE is hereby given that public hearings will be held by the City Council on Tuesday, September 24, 2024, at 5:00 p.m., and by the Land Use and Zoning Committee on Tuesday, October 1, 2024, at 5:00 p.m. in the Council Chambers, 1st Floor, City Hall, 117 West Duval Street, St. James Building, Jacksonville, FL, 32202 concerning: Ordinance No. 2024-685 (WRF-24-17) AN ORDINANCE APPROVING THE WAIVER OF MINIMUM REQUIRED ROAD FRONTAGE APPLICATION WRF-24-17, FOR PROPERTY LOCATED IN COUNCIL DISTRICT 12 AT 0 PASCHAL ST., AT THE END OF PASCHAL ST. (R.E. NO. 0061300000), AS DESCRIBED HEREIN, OWNED RYRAD HOME BUILDERS, INC., REQUESTING TO REDUCE THE MINIMUM ROAD FRONTAGE REQUIREMENTS FROM 48 FEET TO 0 FEET IN ZONING DISTRICT RESIDENTIAL LOW DENSITY-60 (RLD-60), AS DEFINED

AND CLASSIFIED UNDER THE ZONING CODE; PROVIDING FOR DISTRIBUTION; PROVIDING A DISCLAIMER THAT THE WAIVER GRANTED HEREIN SHALL NOT BE CONSTRUED AS AN EXEMPTION FROM ANY OTHER APPLICABLE LAWS; PROVIDING AN EFFECTIVE DATE.

A copy of the ordinance containing the legal description is available for public inspection in the Council Legislative Services Division, Suite 430, City Hall. Additional information concerning this rezoning may be obtained by contacting the Planning and Development Department at 255-7865. All interested parties may appear at the meeting and be heard with respect to the proposed ordinance. Please visit www.coj.net for meeting information and COVID19 procedures/precautions for accessing public buildings. Margaret M. Sidman City Council Secretary Dated this 30th day of August 2024. Sep. 5 00 (24-05599D)

FIRST INSERTION

NOTICE OF PUBLIC HEARINGS

NOTICE is hereby given that public hearings will be held by the City Council on Tuesday, September 24, 2024, at 5:00 p.m., and by the Land Use and Zoning Committee on Tuesday, October 1, 2024, at 5:00 p.m. in the Council Chambers, 1st Floor, City Hall, 117 West Duval Street, St. James Building, Jacksonville, FL, 32202 concerning: Ordinance No. 2024-684 (E-24-46) AN ORDINANCE APPROVING APPLICATION FOR ZONINGEXCEPTION E-24-46 FOR PROPERTY LOCATED IN COUNCIL DISTRICT 11 AT 9551

BAYMEADOWS RD., UNITS 8, 9, 10 AND 11, BETWEEN PASEO DR. E. AND BAYMEADOWS CIRCLE E. (R.E. NO(S). 148521-0055), AS DESCRIBED HEREIN, OWNED BY ELZBIETA KUZNIAR, AS TRUSTEE OF THE ELZBIETA KUZNIAR TRUST, DATED AUGUST 27, 2009, REQUESTING AN ESTABLISHMENT OR FACILITY WHICH INCLUDES THE RETAIL SALE AND SERVICE OF ALL ALCOHOLIC BEVERAGES INCLUDING

FIRST INSERTION

NOTICE OF PUBLIC MEETINGS AND HEARINGS

NOTICE is hereby given that there will be a public meeting held by the Jacksonville Planning Commission on Thursday, September 19, 2024 at 1:00 p.m. in the Edward Ball Building, 1st Floor Hearing Room 1002, 214 North Hogan Street, Jacksonville, Florida 32202 and the following public hearings will be held by the City Council on Tuesday, September 24, 2024 at 5:00 p.m., by the Land Use and Zoning Committee on Tuesday October 1, 2024 at 5:00 p.m. and by the 2nd City Council on Tuesday, October 8, 2024 at 5:00 p.m. in the Council Chambers, 1st floor, City Hall, 117 West Duval Street, St. James Building, Jacksonville, FL, concerning: Ordinance No. 2024-676

AN ORDINANCE REZONING APPROXIMATELY 14.17+ ACRES LOCATED IN COUNCIL DISTRICT 12 AT 0 GARDEN STREET, AT THE NORTHEAST CORNER OF GARDEN STREET AND IMESON ROAD (R.E. NO(S). 003999 0500 AND 003999-0600), OWNED BY DAWN D. MOTES AND KELLY MIKE JAMES AS CO-PERSONAL REPRESENTATIVES OF THE ESTATE OF REGINA JOAN DARLING JAMES, AS DESCRIBED HEREIN, FROM

NOTICE OF PUBLIC MEETINGS AND HEARINGS NOTICE is hereby given that there will be a public meeting held by the Jacksonville Planning Commission on Thursday, September 19, 2024 at 1:00 p.m. in the Edward Ball Building, 1st Floor Hearing Room 1002, 214 North Hogan Street, Jacksonville, Florida 32202 and the following public hearings will be held by the City Council on Tuesday, September 24, 2024 at 5:00 p.m., by the Land Use and Zoning Committee on Tuesday, October 1, 2024 at 5:00 p.m. 1st floor, City Hall, 117 West Duval Street, St. James Building, Jacksonville, FL, concerning: Ordinance No. 2024-680 AN ORDINANCE REZONING APPROXIMATELY 18.99+ ACRES LOCATED IN COUNCIL DISTRICT 12 AT 0 AND 7175 JUSTAMERE RD., BETWEEN MAGNOLIA HILLS DR. AND 103RD ST. (R.E. NOS. 0129660100 AND 012970-0020), AS DESCRIBED HEREIN, OWNED BY JUSTAMERE DEVELOPMENT, LLC, FROM RESIDENTIAL MEDIUM DENSITY-A (RMD-A) DISTRICT AND PLANNED UNIT DEVELOPMENT (PUD) DISTRICT (2022893-E) TO PLANNED UNIT DEVELOPMENT (PUD) DISTRICT, AS DEFINED AND CLASSIFIED UNDER THE ZONING CODE, TO PERMIT 216 TOWNHOMES, AS DESCRIBED IN THE JUSTAMERE PUD; PROVIDING A DISCLAIMER THAT

PLANNED UNIT DEVELOPMENT (PUD) DISTRICT (ORDINANCE 2010-256-E) TO RESIDENTIAL LOW DENSITY-50 (RLD-50), AS DEFINED AND CLASSIFIED UNDER THE ZONING CODE, PURSUANT TO FUTURE LAND USE MAP SERIES SMALL SCALE AMENDMENT APPLICATION NUMBER L 5965 24C; PROVIDING A DISCLAIMER THAT THE REZONING GRANTED HEREIN SHALL NOT BE CONSTRUED AS AN EXEMPTION FROM ANY OTHER APPLICABLE LAWS; PROVIDING AN EFFECTIVE DATE.

A copy of the ordinance containing the legal description is available for public inspection in the Council Legislative Services Division, Suite 430, City Hall. Additional information concerning this rezoning may be obtained by contacting the Planning and Development Department at 255-7865. All interested parties may appear at the meeting and be heard with respect to the proposed ordinance. Please visit www.coj.net for meeting information and COVID19 procedures/precautions for accessing public buildings.

Margaret M. Sidman City Council Secretary Dated this 30th day of August 2024. Sep. 5 00 (24-05592D)

INSERTION

THE REZONING GRANTED HEREIN SHALL NOT BE CONSTRUED AS AN EXEMPTION FROM ANY OTHER APPLICABLE LAWS; PROVIDING AN EFFECTIVE DATE.

A copy of the ordinance containing the legal description is available for public inspection in the Council Legislative Services Division, Suite 430, City Hall. Additional information concerning this rezoning may be obtained by contacting the Planning and Development Department at 255-7865. All interested parties may appear at the meeting and be heard with respect to the proposed ordinance. Application for rezoning 20240680 seeks to rezone approximately 18.99 acres of land from Residential Medium Density-A (RMD-A) and Planned Unit Development (PUD 2022-0893E) to Planned Unit Development (PUD). The property is located at 0 & 7175 Justamere Road, between Magnolia Hills Drive and 103rd Street. The agent is John Day, 1 San Jose Boulevard, Suite 7, Jacksonville, Florida 32257; (904) 268-9990.

The rezoning to PUD is being sought to allow for 216 townhomes. Please visit www.coj.net for meeting information and COVID19 procedures/precautions for accessing public buildings. Margaret M. Sidman City Council Secretary Dated this 30th day of August 2024. Sep. 5 00 (24-05594D)

FIRST INSERTION

NOTICE OF PUBLIC SALE:

THOMPSON ENTERPRISES OF JACKSONVILLE, LLC gives notice that on 09/24/2024 at 10:00 AM the following vehicles(s) may be sold by public sale at 7600 BAILEY BODY RD. JACKSONVILLE FL 32216 to satisfy the lien for the amount owed on each vehicle for any recovery, towing, or storage services charges and administrative fees allowed pursuant to Florida statute 713.78.

L9NLTNYC6M1502805 2021 TAOTAO

1GCGC13U13F200574 2003 CHEV

3C4PDCABXJT158841 2018 DODG

4T1GB10E8SU062053 1995 TOYT

5FNYF3H26DB016607 2013 HOND

KNDJN2A27K7628794 2019 KIA

This notification is published in JACKSONVILLE DAILY RECORD on 09/05/2024. Sep. 5 00 (24-05565D)

FIRST INSERTION

PUBLIC NOTICE

The Jacksonville Transportation Authority will require a contractor to provide services for RFP No. P-24-026 Janitorial Services. All interested may contact the Jacksonville Transportation Authority, Procurement Department, 100 LaVilla Center Drive, Jacksonville, Florida 32204 or email procurement@jtafla.com. To obtain a copy of the Solicitation visit https://procurement. opengov.com/portal/jtafla Deadline for questions regarding the plans and/or specifications is 12:00 P.M., September 6, 2024. Questions must be submitted to the JTA Procurement Portal

The Jacksonville Transportation Authority is an Equal Opportunity Employer and encourages expressions of interest for the described services from Disadvantaged Business Enterprises. Proposals must be uploaded to the JTA Procurement Portal no later than 2:00 p.m., September 16, 2024. Sep. 5 00 (24-05600D)

FIRST INSERTION

NOTICE UNDER FICTITIOUS NAME LAW

According to Florida Statute Number 865.09 NOTICE IS HEREBY GIVEN that the undersigned, desiring to engage in business under the Fictitious Name of Lady’s Cleaning Service located at 13444 Gran Bay Parkway #1034, in the City of Jacksonville, Duval County, Florida 32258 intends to register the said name with the Division of Corporations of the Department of State, Tallahassee, Florida. Dated at Jacksonville, Florida, this 30th day of August, 2024. Marcal Rodrigues Sep. 5 00 (24-05626D)

FIRST INSERTION

NOTICE OF PUBLIC HEARING NOTICE IS HEREBY GIVEN that on Thursday, September 19, 2024, at 1:00 P.M., the Planning Commission of the City of Jacksonville will hold a Public Hearing in the Edward Ball Building, 214 North Hogan Street, 1st Floor –Room 1002, Jacksonville, Florida 32202. The purpose of this meeting is to consider application for: Variance: V-24-17 The street address and/or location for the property 0 Old Middleburg Road North (RE: 012476-0000) between Old Middleburg Road North and Wilson Boulevard in the City of Jacksonville. This application was filed by Casey Dendor, AICP, 14775 Old St. Augustine Road, Jacksonville, FL. This property is currently zoned CCG-2 Variance Sought: 1) Reduction in Landscape 2) Increase off-street parking spaces from 32 to 36 A copy of the application containing the legal description can be faxed, mailed or e-mailed to you at your request by contacting the Planning and Development Department at (904) 255-7865 All interested parties are notified to be present and will be heard at the public hearing. Charles Garrison, Chair Jacksonville Planning Commission City of Jacksonville Dated this 30th day of August Sep. 5 00 (24-05620D)

FIRST INSERTION REQUEST FOR QUALIFICATIONS FOR ENGINEERING SERVICES FOR THE SEATON CREEK RESERVE COMMUNITY DEVELOPMENT DISTRICT

RFQ for Engineering Services

LIQUOR, BEER OR WINE FOR O N-PREMISES CONSUMPTION FOR 5TH ELEMENT INDIAN RESTAURANT, IN THE PUD DISTRICT, AS DEFINED AND CLASSIFIED UNDER THE ZONING CODE; ADOPTING RECOMMENDED FINDINGS AND CONCLUSIONS OF THE LAND USE AND ZONING COMMITTEE; PROVIDING FOR DISTRIBUTION; PROVIDING AN EFFECTIVE DATE. A copy of the ordinance containing the legal description is available for public inspection in the Council Legislative Services Division, Suite 430, City Hall. Additional information concerning this rezoning may be obtained by contacting the Planning and Development Department at 255-7865. All interested parties may appear at the meeting and be heard with respect to the proposed ordinance. Please visit www.coj.net for meeting information and COVID19 procedures/precautions for accessing public buildings. Margaret M. Sidman City Council Secretary Dated this 30th day of August 2024. Sep. 5 00 (24-05598D)

NOTICE OF PUBLIC MEETINGS AND HEARINGS NOTICE is hereby given that there will be a public meeting held by the Jacksonville Planning Commission on Thursday, September 19, 2024 at 1:00 p.m. in the Edward Ball Building, 1st Floor Hearing Room 1002, 214 North Hogan Street, Jacksonville, Florida 32202 and the following public hearings will be held by the City Council on Tuesday, September 24, 2024 at 5:00 p.m., by the Land Use and Zoning Committee on Tuesday, October 1, 2024 at 5:00 p.m. and by the 2nd City Council on Tuesday, October 8, 2024 at 5:00 p.m. in the Council Chambers, 1st floor, City Hall, 117 West Duval Street, St. James Building, Jacksonville, FL, concerning: Ordinance No. 2024-678 AN ORDINANCE REZONING APPROXIMATELY 41.04+ ACRES LOCATED IN COUNCIL DISTRICT 12 AT 0, 14062, 14066 AND 14080 NORMANDY BOULEVARD, BETWEEN NATHAN HALE ROAD AND BELL ROAD (R.E. NO(S). 0022580310, 002260-0010, 0022610130 AND 002261-0200), AS DESCRIBED HEREIN, OWNED BY ALVIN L. SMITH AND DARLENE A. SMITH, SIMON HOCK SPAANS AND ALINA GONZALEZ, CYNTHIA J. ROBERTS (LIFE ESTATE) AND CYNTHIA J. ROBERTS, JAMES W. MARTIN AND CHRISTY J. MARTIN, FROM AGRICULTURE (AGR) DISTRICT TO PLANNED UNIT DEVELOPMENT (PUD) DISTRICT, AS DEFINED AND CLASSIFIED UNDER THE ZONING CODE, TO PERMIT TOWNHOMES AND SINGLE-FAMILY RESIDENTIAL USES, AS DESCRIBED IN THE NORMANDY BOULEVARD PUD, PURSUANT TO FUTURE LAND USE MAP SERIES (FLUMS) SMALL-SCALE AMENDMENT APPLICATION

NUMBER L-5956-24C; PROVIDING A DISCLAIMER THAT THE REZONING GRANTED HEREIN SHALL NOT BE CONSTRUED AS AN EXEMPTION FROM ANY OTHER APPLICABLE LAWS; PROVIDING AN EFFECTIVE DATE.

A copy of the ordinance containing the legal description is available for public inspection in the Council Legislative Services Division, Suite 430, City Hall. Additional information concerning this rezoning may be obtained by contacting the Planning and Development Department at 255-7865. All interested parties may appear at the meeting and be heard with respect to the proposed ordinance. Application for Planned Unit Development 2024-0678 seeks to rezone approximately 41.04± acres of land from Agriculture (AGR) to Planned Unit Development (PUD). The property is located at 14080 Normandy Boulevard (RE#s: 002258-0310; 002260-0010; 002261-0130; 002261-0200) between Nathan Hale Road and Bell Road. The agent is Hayden Phillips, 1301 Riverplace Boulevard, Suite 1500. The rezoning to a new PUD is being sought in order to allow for a master planned Residential Development in the Medium Density Residential (MDR) Functional Land Use Category with a maximum of 117 Single Family Units and 146 Townhome Units

This PUD is a companion to pending application 2024-0677 for small-scale land use amendment (L-5956--24C.) The request is to amend a combined 41.04± acres of land from AGR to MDR. Please visit www.coj.net for meeting information and COVID19 procedures/precautions for accessing public buildings. Margaret M. Sidman City Council Secretary Dated this 30th day of August 2024. Sep. 5 00 (24-05593D)

The Seaton Creek Reserve Community Development District (“District”), located in Duval County, Florida, announces that professional engineering services will be required on a continuing basis for the District’s stormwater management facilities, recreation improvements, hardscaping, landscaping, and other public improvements authorized by Chapter 190, Florida Statutes. The engineering firm selected will act in the general capacity of District Engineer and will provide District engineering services, as required. Any firm or individual (“Applicant”) desiring to provide professional services to the District must: 1) hold applicable federal, state and local licenses; 2) be authorized to do business in Florida in accordance with Florida law; and 3) furnish a statement (“Qualification Statement”) of its qualifications and past experience on U.S. General Service Administration’s “Architect-Engineer Qualifications, Standard Form No. 330,” with pertinent supporting data. Among other things, Applicants must submit information relating to: a) the ability and adequacy of the Applicant’s professional personnel; b) whether the Applicant is a certified minority business enterprise; c) the Applicant’s willingness to meet time and budget requirements; d) the Applicant’s past experience and performance, including but not limited to past experience as a District Engineer for any community development districts and past experience with the [District]; e) the geographic location of the Applicant’s headquarters and offices; f) the current and projected workloads of the Applicant; and g) the volume of work previously awarded to the Applicant by the District. Further, each Applicant must identify the specific individual affiliated with the Applicant who would be handling District meetings, construction services, and other engineering tasks. The District will review all Applicants and will comply with Florida law, including the Consultant’s Competitive Negotiations Act, Chapter 287, Florida Statutes (“CCNA”). All Applicants interested must submit electronic

copies of Standard Form No. 330 and the Qualification Statement by 12:00 p.m. on September 16, 2024, to Bob.Koncar@inframark. com, Attention: Bob Koncar, c/o Inframark, 12574 Flagler Center Boulevard, Suite 101, Jacksonville, FL 32258; Phone: (904) 626-0593 (“District Manager’s Office”).

The Board shall select and rank the Applicants using the requirements set forth in the CCNA and the evaluation criteria on file with the District Manager, and the highest ranked Applicant will be requested to enter into contract negotiations. If an agreement cannot be reached between the District and the highest ranked Applicant, negotiations will cease and begin with the next highest ranked Applicant, and if these negotiations are unsuccessful, will continue to the third highest ranked Applicant.

The District reserves the right to reject any and all Qualification Statements. Additionally, there is no express or implied obligation for the District to reimburse Applicants for any expenses associated with the preparation and submittal of the Qualification Statements in response to this request. Any protest regarding the terms of this Notice, or the evaluation criteria on file with the District Manager, must be filed in writing, within seventy-two (72) hours (excluding weekends) after the publication of this Notice. The formal protest setting forth with particularity the facts and law upon which the protest is based shall be filed within seven (7) calendar days after the initial notice of protest was filed. Failure to timely file a notice of protest or failure to timely file a formal written protest shall constitute a waiver of any right to object or protest with respect to aforesaid Notice or evaluation criteria provisions. Any person who files a notice of protest shall provide to the District, simultaneous with the filing of the notice, a protest bond with a responsible surety to be approved by the District and in the amount of Twenty Thousand Dollars ($20,000.00). Any and all questions relative to the RFQ shall be directed in writing by email only to Bob Koncar at Bob.Koncar@inframark.com with email copies to Wesley Haber at Wesley.Haber@KutakRock.com. Sep. 5 00 (24-05621D)

PUBLIC NOTICES

FIRST INSERTION

Notice of Public Sale:

Self-storage unit contents, containing household and other miscellaneous items unless otherwise specified, will be sold for cash by CubeSmart Asset Management, LLC as agent for Owner #5407 8552 Baymeadows rd Jacksonville, FL 32256 to satisfy a lien on September 27, 2024 at approximately 04:00 p.m. at the following site: www.storagetreasures.com Ebony Smith, Lizzie Williams, Reshana Shurman, Leah Myerson, Brady Judge, Melanie Duros, Theresa Knight, Christelle Telisma, Tina Thierrien, Brandon Jackson Sep. 5/12 00 (24-05550D)

FIRST INSERTION

NOTICE OF SERVICE OF PROCESS BY PUBLICATION

STATE OF NORTH CAROLINA

GUILFORD COUNTY IN THE GENERAL COURT OF JUSTICE DISTRICT COURT DIVISION

FILE #24SP002105-400 FOR THE ADOPTION OF:

CONNOR RILEY KILLOUGH

BY: KEVIN GREGORY

GARLAND

TO: JUSTIN DAVID

KILLOUGH, Respondent

TAKE NOTICE that a Petition for Adoption was filed by KEVIN GREGORY GARLAND on July 18th, 2024, with the Clerk of Superior Court for Guilford County, Greensboro, NC, in the above-entitled special proceeding. The Petition relates to a male child born on November 5th, 2008, at Orange Park Medical Center, 2001 Kingsley Avenue, Orange Park, Florida 32073. The birth mother’s name is Amanda Louise Butler. TAKE NOTICE that you are required to make defense to such pleading no later than forty (40) days after the date of the first publication of this notice, exclusive of such date. Upon your failure to do so, the Petitioner will apply to the Court for relief sought in the Petition. Any parental rights that you may have will be terminated upon the entry of the decree of adoption. This the 5th day of September, 2024. Julia M. Pendleton Attorney for Petitioner NC Bar #34093 7 Corporate Center Court, Suite B Greensboro, NC 27408 Sep. 5/12/19 00 (24-05623D)

FIRST INSERTION

NOTICE OF ONLINE PUBLIC SALE

Pursuant to Florida Statutes 83.801-83.809, notice is given that the units listed below will be advertised and sold by competitive bidding on www.storagetreasures. com to satisfy the owner’s Lien. The units will be advertised from September 16, 2024 through September 23, 2024.

A010 - Vallerie Reddick C012 - Marco Ruiz C053 - McKinsey McQueen The bidding will CONCLUDE, and sale will be deemed FINAL upon owner’s acceptance of a bid on MONDAY SEPTEMBER 23, 2024 at 11:00AM. The owner reserves the right to dispose of the unit’s contents as deemed necessary and/or to reject all bids if the Lien Reserve is not met. Sep. 5/12 00 (24-05631D)

FIRST INSERTION

Notice of Lien Sale

Pursuant to the lien granted by the Florida Self-storage Facility Act, Dunn Avenue Storage Zone Self Storage and Business Centers 1435 Dunn Ave Jacksonville FL 32218 will sell at public auction on 24th September, 2024 personal property belonging to the following tenants to the highest bidder. The sale shall be held at WWW. STORAGEAUCTIONS.COM with sales complete at approximately 12 PM. All sales are subject to prior cancellation. Sale rules and regulations are available at the time of Auction. All units containing household goods. Wall, Robert – A26 Cole, Chavella – A38 Caldwell, Temera – A49 Johnson, Charnessia – A62 Clayton, Dashika – A76 Lewis, Deidra Renee – A82 Clark, Shamara – A85 McMorris, Sayonna – A86 Tutwiler, Alana – A95 Wallace, Alexandria – B03 Wallace, D’Angelo – B17 Gleason, Trevor – B42 West, Sabrina – C08 Dennis, Keisha – K29 Parrish, Frederick Terone – L24 Brown, Latonya – M26 Gibson, Tonishea – Q20 Monroe, Jennifer – R03 Morgan, Kendal – R25 Stewart, James – T10 Holmes, Deshawna – W24 Doss, Paul – W35 Sep. 5/12 00 (24-05633D)

FIRST INSERTION

IN THE CIRCUIT COURT OF THE FOURTH JUDICIAL CIRCUIT, IN AND FOR DUVAL COUNTY, FLORIDA

CIVIL DIVISION CASE NO.: 16-2023-CA-008794

DIVISION: FC-D FREEDOM MORTGAGE CORPORATION PLAINTIFF, VS. MARC BUTTS ET AL., DEFENDANTS. NOTICE OF FORECLOSURE SALE NOTICE IS HEREBY GIVEN pursuant to Final Judgment of Foreclosure dated the 23rd day of August, 2024, and entered in Case No. 16-2023-CA-008794 of the Circuit Court of the Fourth Judicial Circuit in and for Duval County, Florida, wherein Freedom Mortgage Corporation is the Plaintiff and MARC BUTTS; UNKNOWN SPOUSE OF MARC BUTTS ; MV REALTY PBC, LLC and UNITED STATES OF AMERICA ON BEHALF OF THE SECRETARY OF HOUSING AND URBAN DEVELOPMENT are defendants. Jody Phillips as the Clerk of the Circuit Court shall sell to the highest and best bidder for cash at: www.duval.realforeclose.com at 11:00 A.M. on the 16th day of October, 2024, the following described property as set forth in said Final Judgment, to wit: THAT CERTAIN TRACT OR PARCEL OF LAND

BEING A PART OF LOT 22, BLOCK 1, ACCORDING TO PLAT OF SOUTHSIDE ESTATES, UNIT 2, AS RECORDED IN PLAT BOOK 18, PAGE(S) 57 AND 57A, OF THE CURRENT PUBLIC RECORDS OF DUVAL COUNTY, FLORIDA, BEING MORE PARTICULARLY DESCRIBED AS BEGINNING AT THE NORTHEAST CORNER OF SAID LOT 22, THENCE SOUTH 18

DEGREES 09 MINUTES WEST ALONG THE WESTERLY RIGHT OF WAY LINE OF PEACH DRIVE AS SHOWN ON SAID PLAT, 78.465 FEET TO A POINT; THENCE SOUTH 88

DEGREES 09 MINUTES

WEST AND PARALLEL WITH THE SOUTHERLY LINE OF SAID LOT 22, A

DISTANCE OF 200 FEET TO A POINT; THENCE NORTH 18 DEGREES 09 MINUTES EAST PARALLEL WITH SAID PEACH DRIVE, 77.625 FEET TO THE NORTHERLY LINE OF SAID LOT 22; THENCE NORTH 87 DEGREES 55 MINUTES 30 SECONDS EAST ALONG THE NORTHERLY LINE OF SAID LOT 22, 200.29 FEET TO THE POINT OF BEGINNING. IF YOU ARE A PERSON CLAIMING A RIGHT TO FUNDS REMAINING AFTER THE SALE, YOU MUST FILE A CLAIM WITH THE CLERK NO LATER THAN THE DATE THAT THE CLERK REPORTS THE FUNDS AS UNCLAIMED. IF YOU FAIL TO FILE A CLAIM, YOU WILL NOT BE ENTITLED TO ANY REMAINING FUNDS. AFTER THE FUNDS ARE REPORTED AS UNCLAIMED, ONLY THE OWNER OF RECORD AS OF THE DATE OF THE LIS PENDENS MAY CLAIM THE SURPLUS. Americans With Disabilities Act (ADA) Notice In accordance with the Americans with Disabilities Act of 1990 (ADA), If you are a person with a disability who needs any accommodation in order to participate in this proceeding, you are entitled at no cost to you, to the provision of certain assistance. Please contact the ADA Coordinator at crtintrp@coj.net or (904) 255-1695 at least 7 days before your scheduled court appearance, or immediately upon receiving this notification if the time before the scheduled appearance is less than 7 days; if you are hearing or voice impaired, call 711. Dated this 29th day of August, 2024.

JODY PHILLIPS Clerk of The Circuit Court

By: Pamela R. Harrell Deputy Clerk (Court Seal)

Submitted by: Miller, George & Suggs, PLLC ATTORNEY FOR PLAINTIFF 210 N. University Drive, Suite 900 Coral Springs, FL 33071

DESIGNATED PRIMARY

E-MAIL FOR SERVICE

PURSUANT TO FLA. R. JUD. ADMIN 2.516 ESERVICE@MGS-LEGAL.COM Sep. 5/12 00 (24-05609D)

FIRST INSERTION

NOTICE OF PUBLIC SALE

Notice is given that U-STOR auctions will be held Sept. 24, 2024 at listed locations. Pursuant to Florida Statutes 83.801 – 83.809, to satisfy liens due to unpaid rents and charges. The undersigned will sell at public sale by competitive bidding the personal property heretofore stored with the undersigned to satisfy the owner’s lien.

“CONSISTING OF HOUSEHOLD ITEMS UNLESS OTHERWISE NOTED

Beginning at 10:00 AM U-Stor Blanding 1065 Blanding Blvd.

904-276-4553

Immediately Following at U-Stor Mandarin 11201 San Jose Blvd. 904-262-8100

BB 130 Jahmel Richard Vehicle Vin#

2C3CDXEJ7GH129830

D 14 Brian Barnhill

A 8 Alonzo Biggins

CC 38 Malando Brown III

O 10 Charity Burk

D 9 Stephen Olive

Y 19 Cassandra Presser

S 8 Felicia Silver

S 9 Felicia Silver

AA 4 Alfred Tubarello

IMMEDIATELY FOLLOWING AT U-STOR ST. JOHNS’ BLUFF 2915 ST. JOHN’S BLUFF ROAD

904-641-3107

E 20 Arie Coney

A 13 Wayne Harris

F 20 Shelly Moore

D 57 Michael Patton

E 8 Josehine Williams

Following at U-Stor SR 210 130 Cumberland Park Dr. St. Augustine, FL 32095 904-829-1000

C 68 Stephanie Bennett

B 18 Alison Blair

C 52 Alison Blair

C 62 Alison Blair

Immediately Following at Rabbit Hill Self Storage 478 State Road 16 Saint Augustine, FL 32088

904-829-2333

Immediately Following at Sawgrass Self Storage 10042 Sawgrass Dr. W. Ponte Vedra Beach, FL 32082 Sep. 5/12 00 (24-05649D)

FIRST INSERTION

IN THE CIRCUIT COURT OF THE FOURTH JUDICIAL CIRCUIT IN AND FOR DUVAL COUNTY, FLORIDA GENERAL JURISDICTION

DIVISION

Case No. 16-2024-CA-004180

DIVISION: FC-H

PennyMac Loan Services LLC Plaintiff, vs. Jasmine Nicole Paige; Unknown Spouse of Jasmine Nicole Paige; Janice Austin; United States of America on behalf of the Secretary of Housing and Urban Development Defendants. NOTICE OF ACTIONCONSTRUCTIVE SERVICE TO: Unknown Spouse of Jasmine Nicole Paige Last Known Address: 928 Gill Court, Jacksonville, FL 32221 YOU ARE HEREBY NOTIFIED that an action to foreclose a mortgage on the following property in Duval County, Florida: THE NORTH HALF (N 1/2) OF LOT 4, BLOCK 144, MARIETTA, ACCORDING TO THE MAP OR PLAT THEREOF, AS RECORDED IN PLAT

IN THE CIRCUIT COURT OF THE FOURTH JUDICIAL CIRCUIT IN AND FOR DUVAL COUNTY, FLORIDA CIVIL DIVISION Case #: 16-2023-CA-008630 DIVISION: FC-H Nationstar Mortgage LLC Plaintiff, -vs.Unknown Heirs, Devisees, Grantees, Assignees, Creditors, Lienors, and Trustees of Saundra V. Rice a/k/a Saundra Vance Rice a/k/a Saundra Rice f/k/a Saundra Vance Stigall f/k/a Saundra V. Stigall, Deceased, and All Other Persons Claiming by and Through, Under, Against The Named Defendant(s); William Howell Rice a/k/a William H. Rice a/k/a William Rice; Stephen Patrick Rice a/k/a Stephen P. Rice a/k/a Steve Rice; Unknown Spouse of William Howell Rice a/k/a William H. Rice a/k/a William Rice; Unknown Spouse of Stephen Patrick Rice a/k/a Stephen P. Rice a/k/a Steve Rice; The Bank of New York Mellon F/K/A The Bank of New York as Indenture Trustee for CWHEQ Revolving Home Equity Loan Trust, Series 2007-A; Unknown Party in Possession #1; Unknown Party in Possession #2; FPL Energy Services Defendant(s).

NOTICE OF SALE NOTICE IS HEREBY GIVEN pursuant to order rescheduling foreclosure sale or Final Judgment, entered in Civil Case No. 16-2023-CA-008630 of the Circuit Court of the 4th Judicial Circuit in and for Duval County, Florida, wherein Nationstar Mortgage LLC, Plaintiff and Unknown Heirs, Devisees, Grantees, Assignees, Creditors, Lienors, and Trustees of Saundra V. Rice a/k/a Saundra Vance Rice a/k/a Saundra Rice f/k/a Saundra Vance Stigall f/k/a Saundra V. Stigall, Deceased, and All Other Persons Claiming by and Through, Under, Against The Named Defendant(s) are defendant(s), I, Clerk of Court, Jody Phillips, will sell to the highest and

IN THE CIRCUIT COURT OF THE FOURTH JUDICIAL CIRCUIT, IN AND FOR DUVAL COUNTY, FLORIDA. CASE No. 16-2019-CA-007734

DIVISION: FC-A REVERSE MORTGAGE SOLUTIONS, INC., PLAINTIFF, VS. HARRY M. MYERS, ET AL. DEFENDANT(S). NOTICE OF FORECLOSURE SALE #20286 NOTICE IS HEREBY GIVEN pursuant to the Final Judgment of Foreclosure dated February 27, 2020, in the above action, I will sell to the highest bidder for cash at Duval County, Florida, on October 29, 2024, at 11:00 AM, at: www.duval.realforeclose.com for the following described property: Lot 8, in Block 3, of Jackson`s Replat of Block 3 of Harvey`s Addition to Jacksonville, according to the plat thereof, as recorded in Plat Book 18, at Page 12, of the Public Records of Duval County, Florida

Any person claiming an interest in the surplus from the sale, if any, other than the property owner as of the date of the lis

BOOK 1, PAGE(S) 33, 34 AND 34-1/2, OF THE FORMER PUBLIC RECORDS OF DUVAL COUNTY, FLORIDA. THE NORTH AND SOUTH BOUNDARIES OF THE ABOVE-DESCRIBED LAND ARE 315 FEET; THE WEST BOUNDARY IS 156.18 FEET; AND THE EAST BOUNDARY IS 156.85 FEET. has been filed against you and you are required to serve a copy of your written defenses, if any, to it on Julie York, Esquire, Brock & Scott, PLLC., the Plaintiffs attorney, whose address is 2001 NW 64th St, Suite 130, Ft. Lauderdale, FL 33309, within thirty (30) days of the first date of publication and file the original with the Clerk of this Court either before service on the Plaintiffs attorney or immediately thereafter; otherwise a default will be entered against you for the relief demanded in the complaint or petition.

DATED on September 3, 2024. JODY PHILLIPS As Clerk of the Court By: Alice V. Griffin As Deputy Clerk (Court Seal) Sep. 5/12 00 (24-05653D)

best bidder for cash AT: www.duval.realforeclose.com AT 11:00AM on September 26, 2024, the following described property as set forth in said Final Judgment, to-wit: LOT 9, BLOCK 3, LAKE SHORE TERRACE UNIT 1, ACCORDING TO THE PLAT THEREOF AS RECORDED IN PLAT BOOK 21, PAGE 66, OF THE CURRENT PUBLIC RECORDS OF DUVAL COUNTY, FLORIDA. ANY PERSON CLAIMING AN INTEREST IN THE SURPLUS FROM THE SALE, IF ANY, OTHER THAN THE PROPERTY OWNER AS OF THE DATE OF THE LIS PENDENS MUST FILE A CLAIM NO LATER THAN THE DATE THAT THE CLERK REPORTS THE FUNDS AS UNCLAIMED. Americans With Disabilities Act (ADA) Notice In accordance with the Americans with Disabilities Act of 1990 (ADA), If you are a person with a disability who needs any accommodation in order to participate in this proceeding, you are entitled at no cost to you, to the provision of certain assistance. Please contact the ADA Coordinator at crtintrp@coj.net or (904) 2551695 at least 7 days before your scheduled court appearance, or immediately upon receiving this notification if the time before the scheduled appearance is less than 7 days; if you are hearing or voice impaired, call 711. Dated August 30, 2024. JODY PHILLIPS CLERK OF THE CIRCUIT COURT Duval County, Florida By: Tonya Mooradian DEPUTY CLERK OF COURT (Court Seal) ATTORNEY FOR PLAINTIFF: LOGS LEGAL GROUP LLP 750 Park of Commerce Blvd., Suite 130 Boca Raton, Florida 33487 (561) 998-6700 (561) 998-6707 Sep. 5/12 00 (24-05630D) FIRST INSERTION

DUVAL COUNTY

pendens must file a claim before the clerk reports the surplus as unclaimed. The Court, in its discretion, may enlarge the time of the sale. Notice of the changed time of sale shall be published as provided herein. Americans With Disabilities Act (ADA) Notice In accordance with the Americans with Disabilities Act of 1990 (ADA), If you are a person with a disability who needs any accommodation in order to participate in this proceeding, you are entitled at no cost to you, to the provision of certain assistance. Please contact the ADA Coordinator at crtintrp@coj.net or (904) 2551695 at least 7 days before your scheduled court appearance, or immediately upon receiving this notification if the time before the scheduled appearance is less than 7 days; if you are hearing or voice impaired, call 711.

Date: August 29, 2024 JODY PHILLIPS Clerk of the Circuit Court By: Pamela R. Harrell Deputy Clerk of the Court (Court Seal) Tromberg, Morris & Partners, PLLC 600 West Hillsboro Boulevard Suite 600 Deerfield Beach, FL 33441 Sep. 5/12 00 (24-05610D)

IN THE CIRCUIT COURT OF THE FOURTH JUDICIAL CIRCUIT IN AND FOR DUVAL COUNTY, FLORIDA CASE NO.: 16-2024-CA-002775 DIVISION FC-G NEWREZ LLC D/B/A SHELLPOINT MORTGAGE SERVICING, Plaintiff, vs. DEMETRIUS BRYANT; UNKNOWN SPOUSE OF DEMETRIUS BRYANT;, UNKNOWN TENANT(S) IN POSSESSION #1 and #2, et.al. Defendant(s). NOTICE OF ACTION TO: DEMETRIUS BRYANT (Current Residence Unknown) (Last Known Address(es)) 1357 WEST 11TH STREET JACKSONVILLE, FL 32209 5219 BOSSERMAN AVE EL PASO, TX 79906 40 AMANDA DR #515 LITHONIA, GA 30058

YOU ARE NOTIFIED that an action for Foreclosure of Mortgage on the following described property: LOT 9, BLOCK 7, DURKEEVILLE UNIT 5, ACCORDING TO THE MAP OR PLAT THEREOF, AS RECORDED IN PLAT BOOK 17, PAGE 90, OF THE PUBLIC RECORDS OF DUVAL COUNTY, FLORIDA. A/K/A: 1357 WEST 11TH STREET, JACKSONVILLE, FL 32209. has been filed against you and

IN THE COUNTY COURT OF THE FOURTH JUDICIAL CIRCUIT, IN AND FOR DUVAL COUNTY, FLORIDA CASE NO.: 16-2024-CC-010903

DIVISION: CC-F

RIVERGATE TOWNHOME HOMEOWNERS ASSOCIATION, INC., a Florida non-profit corporation, Plaintiff, v. CHANDAN KUMAR REDDY SAMIREDDY, et al., Defendants.

NOTICE OF ACTION

TO: Chandan Kumar Reddy Samireddy, Unknown Spouse of Chandan Kumar Reddy Samireddy and Unknown Tenant #2 Last Known Address: 944 Rotary Road, Jacksonville, Florida 32211 Current Address: Unknown ANY AND ALL UNKNOWN PARTIES CLAIMING BY, THROUGH, UNDER, AND AGAINST THE HEREIN NAMED INDIVIDUAL DEFENDANT(S) WHO ARE NOT KNOWN TO BE DEAD OR ALIVE, WHETHER SAID UNKNOWN PARTIES MAY CLAIM AN INTEREST AS SPOUSES, HEIRS, DEVISEES, GRANTEES, OR OTHER CLAIMANTS YOU ARE NOTIFIED that an action to enforce a lien on the following property in Duval County, Florida: Lot 43, RIVERGATE, according to the plat as recorded in Plat Book 77, Pages 13 through 18, of the Public Records of Duval County, Florida A/K/A - 944 Rotary Road, Jacksonville, Florida 32211

you are required to serve a copy of your written defenses, if any, to it, on Brian L. Rosaler, Esquire, POPKIN & ROSALER, P.A., 1701 West Hillsboro Boulevard, Suite 400, Deerfield Beach, FL 33442., Attorney for Plaintiff, within thirty (30) days after the first publication of this Notice in the Jacksonville Daily Record and file the original with the Clerk of this Court either before service on Plaintiff’s attorney or immediately thereafter; otherwise a default will be entered against you for the relief demanded in the complaint. ( Americans With Disabilities Act (ADA) Notice In accordance with the Americans with Disabilities Act of 1990 (ADA), If you are a person with a disability who needs any accommodation in order to participate in this proceeding, you are entitled at no cost to you, to the provision of certain assistance. Please contact the ADA Coordinator at crtintrp@coj.net or (904) 255-1695 at least 7 days before your scheduled court appearance, or immediately upon receiving this notification if the time before the scheduled appearance is less than 7 days; if you are hearing or voice impaired, call 711. WITNESS my hand and the seal of this Court this 29th day of August, 2024. JODY PHILLIPS As Clerk of the Court and/or Comptroller By: Pamela R. Harrell Deputy Clerk (Court Seal) Sep. 5/12 00 (24-05605D)

has been filed against you and you are required to serve a copy of your written defenses, if any, within thirty (30) days after the first publication of this Notice, on David D. Rottmann, the plaintiff’s attorney, whose address is 136 East Bay Street, Jacksonville, FL 32202, and file the original with the clerk of this court either before service on the plaintiff’s attorney or immediately thereafter; otherwise a default will be entered against you for the relief demanded in the complaint or petition. This Notice shall be published once each week for two consecutive weeks in the Jacksonville Daily Record. Americans With Disabilities Act (ADA) Notice In accordance with the Americans with Disabilities Act of 1990 (ADA), If you are a person with a disability who needs any accommodation in order to participate in this proceeding, you are entitled at no cost to you, to the provision of certain assistance. Please contact the ADA Coordinator at crtintrp@coj.net or (904) 2551695 at least 7 days before your scheduled court appearance, or immediately upon receiving this notification if the time before the scheduled appearance is less than 7 days; if you are hearing or voice impaired, call 711. WITNESS my hand and the seal of this court on the 30th day of August, 2024. JODY PHILLIPS CLERK OF THE CIRCUIT COURT By: Michael Wheeler As Deputy Clerk (Court Seal) David D. Rottmann, Esq. Coker Law 136 East Bay Street Jacksonville, FL 32202 Sep. 5/12 00 (24-05629D)

PUBLIC NOTICES

FIRST INSERTION

PUBLIC NOTICE OF SALE

NOTICE IS HEREBY GIVEN that the undersigned intends to sell the personal property described below to enforce a lien imposed on said property under The Florida Self Storage Facility Act Statutes (Section 83.80183.809). The undersigned will sell by competitive bidding at lockerfox.com on Thursday the 26th day of September, 2024 at 10:00 AM. Said property is iStorage, 2951 Loretto Road, Jacksonville, FL, 32223 Duval County Shauetrell Pender 5038 Boxes, chairs , clothes , wall decor. Weslee Stapleton 1147 Tote , Motorcycle , Jackstands, Parts . Shanterria Rose 5051 Bags, Boxes, Furniture, beds,pillows. All purchased items are sold as is, where is, and must be removed within 48 hours of the sale. A refundable $100 cash deposit for each unit won is required. Purchases must be paid for at the time of purchase by cash or credit/debit card per facility policy. Sale subject to cancellation in the event of settlement between owner and obligated party. Sep. 5/12 00 (24-05664D)

FIRST INSERTION IN THE COUNTY COURT, IN AND FOR DUVAL COUNTY, FLORIDA CASE NO.: 16-2024-CC-007066

DIVISION: CC-J

WELLS CREEK EAST HOMEOWNERS ASSOCIATION, INC., Plaintiff, v. MARVIS EUGENE FONTAINE; TIRZAH JEFFERSON; SECRETARY OF HOUSING AND URBAN DEVELOPMENT; and UNKNOWN PARTY IN POSSESSION, Defendants.

NOTICE OF ACTION

To: MARVIS EUGENE FONTAINE and TIRZAH JEFFERSON

YOU ARE NOTIFIED that an action to foreclose a lien on the following property in Duval County, Florida: Lot 272, WELLS CREEK PHASE 1B, according to the plat thereof recorded in Map Book 74, Page 116-125, Public Records of Duval County, Florida. Commonly known as 12089 Nogoya St., Jacksonville, FL 32256 has been filed against you and you are required to serve a copy of your written defenses, if any, to the action on Hannah S. Rullo, the plaintiff’s attorney, whose address is Ansbacher Law, 8818 Goodbys Executive Drive, Suite 100, Jacksonville, FL 32217-4605, 20 days from the first date of publication and file the original with the clerk of this court either before service on the plaintiff’s attorney or immediately thereafter; otherwise a default will be entered against you for the relief demanded in the complaint or petition.

WITNESS my hand and the seal of this Court on September 3, 2024.

JODY PHILLIPS Clerk of the Court

By: Tonya Mooradian Deputy Clerk (Court Seal) Sep. 5/12 00 (24-05652D)

IN THE CIRCUIT COURT, FOURTH JUDICIAL CIRCUIT, IN AND FOR DUVAL COUNTY, FLORIDA CASE NO.: 16-2024-CP-002536

DIVISION: PR-A IN RE: ESTATE OF ALICE MAY MITCHELL, Deceased.

NOTICE TO CREDITORS

If you have been served with a copy of this notice and you have any claim or demand against the decedent’s estate, even if that claim is unmatured, contingent, or unliquidated, you must file your claim with the court ON OR BEFORE THE LATER OF A DATE THAT IS 3 MONTHS AFTER THE FIRST PUBLICATION OF THIS NOTICE OR 30 DAYS AFTER YOU RECEIVE A COPY OF THIS NOTICE. All other creditors of the decedent and other persons who have claims or demands against the decedent’s estate, including unmatured, contingent, or unliquidated claims, must file their claims with the court ON OR BEFORE THE DATE THAT IS 3 MONTHS AFTER THE FIRST PUBLICATION OF THIS NOTICE. A personal representative or curator has no duty to discover whether any property held at the time of the decedent’s death by the decedent or the decedent’s surviving spouse is property to which the Florida Uniform Disposition of Community Property Rights at Death Act as described in sections 732.216732.228, applies, or may apply,

FIRST INSERTION IN THE CIRCUIT COURT FOR DUVAL COUNTY, FLORIDA PROBATE DIVISION

File No. 16-2024-CP-001605

Division PR-B IN RE: ESTATE OF LOYD EUGENE BEVERLEY Deceased.

NOTICE TO CREDITORS

The administration of the estate of Loyd Eugene Beverley, deceased, whose date of death was February 2, 2024, is pending in the Circuit Court for Duval County, Florida, Probate Division, the address of which is 501 W Adams Street, Jacksonville, FL 32202. The names and addresses of the personal representative and the personal representative’s attorney are set forth below. All creditors of the decedent and other persons having claims or demands against decedent’s estate on whom a copy of this notice is required to be served must file their claims with this court ON OR BEFORE THE LATER OF 3 MONTHS AFTER THE TIME OF THE FIRST PUBLICATION OF THIS NOTICE OR 30 DAYS AFTER THE DATE OF SERVICE OF A COPY OF THIS NOTICE ON THEM.

The personal representative has no duty to discover whether any property held at the time of the decedent’s death by the decedent or the decedent’s surviving spouse is property to which the Florida Uniform Disposition of Community Property Rights at Death Act as described in ss. 732.216732.228, Florida Statutes, applies, or may apply, unless a written demand is made by a creditor as specified under s. 732.2211, Florida Statutes. All other creditors of the decedent and other persons having claims or demands against decedent’s estate must file their claims with this court WITHIN 3 MONTHS AFTER THE DATE OF THE FIRST PUBLICATION OF THIS NOTICE. ALL CLAIMS NOT FILED WITHIN THE TIME PERIODS SET FORTH IN FLORIDA STATUTES SECTION 733.702 WILL BE FOREVER BARRED. NOTWITHSTANDING THE TIME PERIODS SET FORTH ABOVE, ANY CLAIM FILED TWO (2) YEARS OR MORE AFTER THE DECEDENT’S DATE OF DEATH IS BARRED.

The date of first publication of this notice is September 5, 2024. Personal Representative Canita Dixon 85059 Christian Way Apt 938 Yulee, Florida 32097

Attorneys for Personal Representative Sara Jessica Farmer

Attorney Florida Bar Number: 1032326 Jacksonville Area Legal Aid 126 W Adams Street Jacksonville, Florida 32202 Telephone: (904) 356-8371 Fax: (904) 356-8285

E-Mail: jessica.farmer@jaxlegalaid.org Sep. 5/12 00 (24-05665D)

unless a written demand is made by a creditor as specified under section 732.2211. ALL CLAIMS NOT FILED WITHIN THE PERIODS SET FORTH IN SECTION 733.302, FLORIDA STATUTES, WILL BE FOREVER BARRED. EVEN IF A CLAIM IS NOT BARRED BY THE LIMITATIONS DESCRIBED ABOVE, ALL CLAIMS THAT HAVE NOT BEEN FILED WILL BE BARRED TWO YEARS AFTER DECEDENT’S DEATH. The address of the court where this probate is pending is: 501 W. Adams Street, Jacksonville, FL 32202. The date of death of the decedent is: June 12, 2023. The date of first publication of this notice is September 5, 2024.

Petitioner: SANDRA WEDGE c/o Law Offices of Mark F. Moss, PLLC 12276 San Jose Blvd., Suite 520 Jacksonville, FL 32223

Attorney for Petitioner MARK F. MOSS, ESQ. Florida Bar Number: 119573 Law Offices of Mark F. Moss, PLLC 12276 San Jose Blvd., Suite 520 Jacksonville, FL 32223 Telephone: (904) 329-7242

E-Mail 1: Service@markmosslaw.com E-Mail 2: mark@markmosslaw.com Sep. 5/12 00 (24-05666D)

FIRST INSERTION

IN THE COUNTY COURT, FOURTH JUDICIAL CIRCUIT IN AND FOR DUVAL COUNTY, FLORIDA CASE NO.: 16-2023-CC-018949 Division: CC-E NORTH CREEK HOMEOWNERS ASSOCIATION, INC., a Florida not-for-profit corporation, Plaintiff, v. LATARSHA P. COOKS, et al., Defendant.

NOTICE OF FORECLOSURE SALE

NOTICE IS HEREBY given pursuant to a Final Summary Judgment of Foreclosure dated August 26, 2024 and entered in Case No. 16-2023-CC-018949, of the County Court in and for Duval County, Florida wherein NORTH CREEK HOMEOWNERS ASSOCIATION, INC., is the Plaintiff and LATARSHA P. COOKS is the Defendant, I will sell to the highest bidder online at: www.duval.realforeclose.com at 11:00 A.M. on the 5th day of November, 2024, the following described property as set forth in said Final Judgment, to wit: Lot 73, NORTH CREEK UNIT FOUR, according to the Plat thereof, recorded in Plat Book 61, Page(s) 59 through 66 of the Public Records of Duval County, Florida

IN THE CIRCUIT COURT OF THE 4TH JUDICIAL CIRCUIT IN AND FOR DUVAL COUNTY, FLORIDA GENERAL JURISDICTION DIVISION CASE NO. 16-2024-CA-001250

DIVISION: FC-F

U.S. BANK TRUST NATIONAL ASSOCIATION, NOT IN ITS INDIVIDUAL CAPACITY BUT SOLELY AS TRUSTEE FOR HOMES MORTGAGE TRUST Plaintiff, vs. BATTALION ONE REAL ESTATE, LLC, et. al., Defendants.

NOTICE OF FORECLOSURE SALE NOTICE IS HEREBY GIVEN pursuant to an Order or Final Judgment entered in Case No. 16-2024-CA-001250 of the Circuit Court of the 4th Judicial Circuit in and/or Duval County, Florida, wherein, U.S. BANK TRUST NATIONAL ASSOCIATION, NOT IN ITS INDIVIDUAL CAPACITY BUT SOLELY AS TRUSTEE FOR HOMES MORTGAGE TRUST, Plaintiff, and BATTALION ONE REAL ESTATE, LLC, et. al., are Defendants, Clerk of Circuit Court, Jody Phillips will sell to the highest bidder for cash at, www.duval.realforeclose.com on October 9, 2024, at 11:00 AM, the following described property: PARCEL 1: THE EAST 10 FEET OF LOT 3, AND ALL OF LOTS 4 AND 5, BLOCK 9C, OAKWOOD VILLA ESTATES,

IN THE CIRCUIT COURT OF THE FOURTH JUDICIAL CIRCUIT IN AND FOR DUVAL COUNTY, FLORIDA CASE NO. 16-2022-CA-006153

DIVISION: FC-B U.S. BANK TRUST NATIONAL ASSOCIATION, NOT IN ITS INDIVIDUAL CAPACITY BUT SOLELY AS OWNER TRUSTEE FOR RCF 2 ACQUISITION TRUST, Plaintiff, vs. PAUL E. VAN BRUNT A/K/A PAUL VAN BRUNT AND GUISELA E. VAN BRUNT A/K/A GUISELA ELIZABETH VAN BRUNT, et al. Defendant(s). NOTICE OF FORECLOSURE SALE NOTICE IS HEREBY GIVEN pursuant to a Final Judgment of Foreclosure dated November 30, 2023, and entered in 16-2022-CA006153 of the Circuit Court of the FOURTH Judicial Circuit in and for Duval County, Florida, wherein U.S. BANK TRUST NATIONAL ASSOCIATION, NOT IN ITS INDIVIDUAL CAPACITY BUT SOLELY AS OWNER TRUSTEE FOR RCF 2 ACQUISITION TRUST is the Plaintiff and PAUL E. VAN BRUNT A/K/A PAUL

VAN BRUNT; GUISELA E. VAN BRUNT A/K/A GUISELA ELIZABETH VAN BRUNT; OXFORD CHASE HOMEOWNERS ASSOCIATION, INC. are the Defendant(s). Jody Phillips as the Clerk of the Circuit Court will sell to the highest and best bidder for cash at: www.duval.realforeclose.com at 11:00 AM, on October 29, 2024, the following described property as set forth in said Final Judgment, to wit:

Parcel Identification Number: 106606-7470.

Any person claiming an interest in the surplus from the sale, if any, other than the property owner as of the date of the lis pendens must file a claim before the clerk reports the surplus as unclaimed.

Americans With Disabilities Act (ADA) Notice In accordance with the Americans with Disabilities Act of 1990 (ADA), If you are a person with a disability who needs any accommodation in order to participate in this proceeding, you are entitled at no cost to you, to the provision of certain assistance. Please contact the ADA Coordinator at crtintrp@coj.net or (904) 2551695 at least 7 days before your scheduled court appearance, or immediately upon receiving this notification if the time before the scheduled appearance is less than 7 days; if you are hearing or voice impaired, call 711

Dated September 3, 2024 JODY PHILLIPS As Clerk of the Court By: Alice V. Griffin As Deputy Clerk (Court Seal)

Michael J. McCabe, Esquire 110 Solana Road, Suite 102 Ponte Vedra Beach, Florida 32082 service@flcalegal.com Sep. 5/12 00 (24-05658D)

ACCORDING TO THE PLAT T HEREOF AS RECORDED IN PLAT BOOK 8, PAGE 23, OF THE CURRENT PUBLIC RECORDS OF DUVAL COUNTY, FLORIDA

Any person claiming an interest in the surplus from the sale, if any, must file a claim per the requirements set forth in FL Stat. 45.302. Americans With Disabilities Act (ADA) Notice

In accordance with the Americans with Disabilities Act of 1990 (ADA), If you are a person with a disability who needs any accommodation in order to participate in this proceeding, you are entitled at no cost to you, to the provision of certain assistance. Please contact the ADA Coordinator at crtintrp@coj.net or (904) 2551695 at least 7 days before your scheduled court appearance, or immediately upon receiving this notification if the time before the scheduled appearance is less than 7 days; if you are hearing or voice impaired, call 711. DATED this 3rd day of September 2024.

JODY PHILLIPS Clerk Circuit Court By: Clayton Smith Deputy Clerk (Court Seal)

GREENSPOON MARDER, LLP 100 West Cypress Creek Road Trade Centre South, Suite 700 Fort Lauderdale, FL 33309 954-491-1120 23-002100-02 / 21844.0454 / Jean Schwartz Sep. 5/12 00 (24-05657D)

INSERTION

LOT 27A, OXFORD CHASE, ACCORDING TO THE PLAT THEREOF AS RECORDED IN PLAT BOOK 56, PAGES 45, 45A TRHOUGH 45G OF THE PUBLIC RECORDS OF DUVAL COUNTY, FLORIDA. Property Address: 11127 FALLGATE POINT CT, JACKSONVILLE, FL 32256

Any person claiming an interest in the surplus from the sale, if any, other than the property owner as of the date of the lis pendens must file a claim in accordance with Florida Statutes, Section 45.031. Americans With Disabilities Act (ADA) Notice In accordance with the Americans with Disabilities Act of 1990 (ADA), If you are a person with a disability who needs any accommodation in order to participate in this proceeding, you are entitled at no cost to you, to the provision of certain assistance. Please contact the ADA Coordinator at crtintrp@coj.net or (904) 2551695 at least 7 days before your scheduled court appearance, or immediately upon receiving this notification if the time before the scheduled appearance is less than 7 days; if you are hearing or voice impaired, call 711. Dated this 3rd day of September, 2024. JODY PHILLIPS As Clerk of the Court By: Tonya Mooradian As Deputy Clerk (Court Seal) Robertson, Anschutz, Schneid, Crane & Partners, PLLC Attorneys for Plaintiff Robertson, Anschutz, Schneid, Crane & Partners, PLLC, Boca Raton, FL 33487

Telephone: 561-241-6901

Fax: 561-997-6909

22-045943 - GrS Sep. 5/12 00 (24-05660D)

IN THE CIRCUIT COURT OF THE FOURTH JUDICIAL CIRCUIT IN AND FOR DUVAL COUNTY, FLORIDA CASE NO. 16-2024-CA-000281

DIVISION: FC-B

REGIONS BANK D/B/A REGIONS MORTGAGE Plaintiff, v. COLIN FROST; HEATHER FROST; UNKNOWN TENANT 1; UNKNOWN TENANT 2; Defendants. NOTICE OF SALE Notice is hereby given that, pursuant to the Final Judgment of Foreclosure entered on July 09, 2024, in this cause, in the Circuit Court of Duval County, Florida, the clerk shall sell the property situated in Duval County, Florida, described as: LOT 4, SEAGATE WOODS, ACCORDING TO PLAT THEREOF AS RECORDED IN PLAT BOOK 49, PAGES 81 AND 81A OF THE CURRENT PUBLIC RECORDS OF DUVAL COUNTY, FLORIDA. a/k/a 1851 KINGS CT, JACKSONVILLE BEACH, FL 32250-2988 at public sale, to the highest and best bidder, for cash, online at: www.duval.realforeclose.com on October 09, 2024 beginning at 11:00 AM.

NOTICE OF PUBLIC SALE

Notice is given that U-STOR auctions will be held on September 18, 2024 at www.storagetreasures.com. Pursuant to Florida Statutes 83.801 – 83.809, to satisfy liens due to unpaid rents and charges. The undersigned will sell at public sale by competitive bidding the personal property heretofore stored with the undersigned to satisfy the owner’s lien. “CONSISTING OF HOUSEHOLD ITEMS UNLESS OTHERWISE NOTED” Beginning at 10:00 AM U-STOR WESCONNETT 4714 WESCONNETT BLVD Jacksonville, FL 32210 904-778-4686 B-33 Latoya George C-46 Erica Murphy D-39 Diamond Gilliams D-46 David Gipson U-STOR WILSON LANE 3698 Lane Ave. South Jacksonville, Fl 32210 904-771-1000 A-5 Renarda Ford N-10 Jay Fudge Q-11 Brian White W-7 Joseph Hall U-STOR LEM TURNER 10811 LEM TURNER ROAD 904-768-2900 FF-5 William Gee FF-6 Eddie Rolack HH-1 Juanita Hooks JJ-21 Faundre Wilson B-7 Quin Mincey

IN THE CIRCUIT COURT OF THE FOURTH JUDICIAL CIRCUIT, IN AND FOR DUVAL COUNTY, FLORIDA CASE NO. 16-2022-CA-004847

DIVISION: FC-H PHH MORTGAGE CORPORATION, Plaintiff, vs. SEAN J. TORREALBA; CITY OF JACKSONVILLE, FLORIDA; Defendants RE-NOTICE OF FORECLOSURE SALE NOTICE IS HEREBY GIVEN pursuant to an Order Setting Aside Foreclosure Sale Held August 1, 2024 and Rescheduling Foreclosure Sale dated August 13, 2024, and entered in Case No. 16-2022CA-004847, of the Circuit Court of the Fourth Judicial Circuit in and for DUVAL County, Florida. PHH MORTGAGE CORPORATION (hereafter “Plaintiff”), is Plaintiff and SEAN J. TORREALBA; CITY OF JACKSONVILLE, FLORIDA, are defendants. Jody Phillips, Clerk of the Circuit Court for DUVAL, County Florida will sell to the highest and best bidder for cash Via the Internet at: www.duval.realforeclose.com at 11:00 a.m., on the 3RD day of October, 2024, the following described property as set forth in said Final Judgment, to wit: LOTS 22, 23, 24 AND 25, BLOCK 7A, OAKWOOD VILLA ESTATES, AS PER PLAT THEREOF, RECORDED IN PLAT BOOK 8, PAGES 23, 24 AND 25, OF THE PUBLIC RECORDS OF DUVAL COUNTY, FLORIDA. Any person claiming an interest in the surplus from the sale, if any, other than the property owner as of the date of the lis pendens must file a claim before the clerk reports the surplus as unclaimed. Americans With Disabilities Act (ADA) Notice

If you are a person with a disability who needs any accommodation in order to participate in this proceeding, you are entitled, at no cost

Any person claiming an interest in the surplus from the sale, if any, other than the property owner as of the date of the lis pendens must file a claim before the clerk reports the surplus as unclaimed. Americans With Disabilities Act (ADA) Notice In accordance with the Americans with Disabilities Act of 1990 (ADA), If you are a person with a disability who needs any accommodation in order to participate in this proceeding, you are entitled at no cost to you, to the provision of certain assistance. Please contact the ADA Coordinator at crtintrp@coj.net or (904) 2551695 at least 7 days before your scheduled court appearance, or immediately upon receiving this notification if the time before the scheduled appearance is less than 7 days; if you are hearing or voice impaired, call 711.

Dated this 3rd day of September, 2024. JODY PHILLIPS Clerk of the Circuit Court By: Joy E. Rodriguez Deputy Clerk (Court Seal) eXL Legal, PLLC 12425 28TH ST NORTH, STE. 200 ST. PETERSBURG, FL 33716-1826

EFILING@EXLLEGAL.COM 1000009713 Sep. 5/12 00 (24-05659D)

to you, to the provision of certain assistance. Please contact ADA Coordinator, Phone no. 904-255-1695, via Email crtintrp@coj.net at least 7 days before your scheduled court appearance, or immediately upon receiving this notification if the time before the scheduled appearance is less than 7 days; if you are hearing or voice impaired, call 711. Si usted es una persona minusválida que necesita algún acomodamiento para poder participar en este procedimiento, usted tiene derecho, sin tener gastos propios, a que se le provea cierta ayuda. Tenga la amabilidad de ponerse en contacto con ADA Coordinator, ADA Coordinator, Phone no. 904-255-1695, via Email crtintrp@coj.net por lo menos 7 días antes de la cita fijada para su comparecencia en los tribunales, o inmediatamente después de recibir esta notificación si el tiempo antes de la comparecencia que se ha programado es menos de 7 días; si usted tiene discapacitación del oído o de la voz, llame al 711. Si ou se yon moun ki andikape ou enfim ki bezwen akomodasyon pou w ka patisipe nan pwosedi sa, ou kalifye san ou pa gen okenn lajan pou w peye, gen pwovizyon pou jwen kèk èd. Tanpri kontakte ADA Coordinator, ADA Coordinator, Phone no. 904-255-1695, via Email crtintrp@coj.net nan 7 jou anvan dat ou gen randevou pou parèt nan tribinal la, oubyen imedyatman apre ou fin resevwa konvokasyon an si lè ou gen pou w parèt nan tribinal la mwens ke 7 jou; si ou

PUBLIC NOTICES

FIRST INSERTION

BAINEBRIDGE COMMUNITY

DEVELOPMENT DISTRICT NOTICE OF REGULAR BOARD OF

SUPERVISORS MEETING Notice is hereby given that the Board of Supervisors (“Board”) of the Bainebridge Community Development District (“District”) will hold a meeting on September 19, 2024 at 6:00 p.m., at the Bainebridge Amenity Center, 15855 Twin Creek Drive, Jacksonville, Florida 32218.

A copy of the agenda may be obtained by contacting the District Manager, c/o Rizzetta & Company, Inc, 3434 Colwell Avenue, Suite 200, Tampa, FL 33614 (“District Manager’s Office”) or by emailing the District Manager at lgallagher@rizzetta.com and/ or by telephoning 904-436-6270 during normal business hours. The meetings are open to the public and will be conducted in accordance with the provisions of Florida law for community development districts. The meetings may be continued to a date, time, and place to be specified on the record at such meeting.

LEM TURNER WATER MAIN AND FORCE MAIN REQUEST FOR PROPOSALS FOR CONSTRUCTION SERVICES

DUVAL COUNTY, FLORIDA

Please see the below information regarding the Request for Proposals for the Lem Turner Road Project (the “Project’):

The contract will require contractors to provide construction services for the Project, as more particularly described in the Project Manual and in accordance with the plans and specifications. The construction services will be performed under a fixed-price contract and in accordance with all applicable local, State, and Federal laws, regulations, and executive orders, including, but not limited to City of Jacksonville, Jacksonville Electric Authority (JEA), Florida Department of Environmental Protection (FDEP), St. Johns River Water Management District (SJRWMD) and Florida Department of Transportation (FDOT) Standard Specifications and Permits. Please note, the contract will initially be awarded by JSH Braddock Development, LLC (the “Developer”) and, after the contract is awarded, it may be assigned to a Community Development District (the “District”).

The Project Manual will be available beginning September 6, 2024 at 3:00 p.m. Please contact Shelley Blair (BlairS@etminc. com) request a link to the FTP site. The FTP site will include, but not be limited to, the Project Manual, the Request for Proposals, proposal and contract documents,

There may be occasions when one or more Supervisors or staff will participate by telephone. Pursuant to provisions of the Americans with Disabilities Act, any person requiring special accommodations at this meeting because of a disability or physical impairment should contact the District Office at (904) 436-6270 at least 48 hours prior to the meeting. If you are hearing or speech impaired, please contact the Florida Relay Service by dialing 7-1-1, or 1-800955-8771 (TTY) / 1-800-955-8770 (Voice), for aid in contacting the District Office. A person who decides to appeal any decision made at the meeting with respect to any matter considered at the meeting is advised that person will need a record of the proceedings and that accordingly, the person may need to ensure that a verbatim record of the proceedings is made, including the testimony and evidence upon which such appeal is to be based Lesley Gallagher District Manager Sep. 5 00 (24-05663D)

and construction plans and specifications.

Proposals will be evaluated in accordance with the criteria included in the Project Manual.

Proposers must comply with the Minimum Qualifications provided in the Project Manual.

There will be a mandatory pre-proposal conference held at the offices of England, Thims & Miller, Inc., (“Engineer”) 14775 Old St. Augustine Rd., Jacksonville, FL 32258 (“Engineer’s Office”) on September 13, 2024 at 11:00 a.m. Failure to attend may preclude a Proposer from responding to this Request for Proposal.

Firms desiring to provide services for the Project must submit one (1) digital copy and one (1) hard copy of their response no later than 3:00 p.m. on October 25, 2024, at the offices of England-Thims & Miller, Inc., 14775 Old St. Augustine Road, Jacksonville, Florida 32258, C/O Shelley Blair. The proposals will be publicly opened at this time.

Proposals shall be in the form provided in the Project Manual and submitted in a sealed envelope pursuant to the Instructions to Proposers.

All questions regarding the Project Manual or the Project shall be directed in writing only to England-Thims & Miller, Inc., 14775 Old St. Augustine Road, Jacksonville, Florida 32258, C/O Shelley Blair (BlairS@etminc. com) by October 18, 2024 Sep. 5 00 (24-05661D)

FIRST INSERTION

NOTICE OF PUBLIC SALE: ASAP TOWING & STORAGE CO gives notice that on 09/20/2024 at 10:30 AM the following vehicles(s) may be sold by public sale at 3801 WHITEHALL STREET JACKSONVILLE, FLORIDA 32206 to satisfy the lien for the amount owed on each vehicle for any recovery, towing, or storage services charges and administrative fees allowed pursuant to Florida statute 713.78. ACURA 2014 19UUA8F38EA005013

CHEVROLET 2014

1G1PA5SH5E7413924 NO VIN 1990 HOMEMADE TRAILER

2FALP74W2RX162233 1994 FORD

2D8HN44E29R689917 2009 DODGE

1GBKP37N6R3312329 1994 WINN

2G4GS5EK8C9149455 2012 BUIC

1G1AK55FX77112484 2007 CHEV

1G1PE5SB7F7213886 2015 CHEV

1G1PF5SC5C7355011 2012 CHEV

1G1ZB5E04CF105058 2012 CHEV

1GNDX03E81D178745 2001 CHEV

1GNEC13T45J123902 2005 CHEV

2G1WG5E31C1121501 2012 CHEV

1B7GL22N41S274303 2001 DODG

1FAHP2D83EG143216 2014 FORD

1FMCU031X8KA92087 2008 FORD

1FMCU93135KC79624 2005 FORD

1FTFW1EF9BFC45584 2011 FORD

1FTWX32S3XEE55542 1999 FORD

1ZVHT82H985176696

FIRST INSERTION

NOTICE OF PUBLIC SALE: WALT’S WRECKER SERVICE, LLC gives notice that on 09/26/2024 at 08:00 AM the following vehicles(s) may be sold by public sale at WALT’S WRECKER SERVICE, LLC 503 NORTH ELLIS ROAD, JACKSONVILLE, FLORIDA 32254 “ALL SALES ARE FINAL. THESE VEHICLES WILL BE SOLD AS IS & NO TITLE’S OR CD’S GUARANTEED.” AUCTION WILL BEGIN AT 9:00 AM. to satisfy the lien for the amount owed on each vehicle for any recovery, towing, or storage services charges and administrative fees allowed pursuant to Florida statute 713.78.

19UUA66267A048215 2007 ACUR

WBAVB73567KY61209 2007 BMW

2G4WD582861311217 2006 BUIC

1GCFC24M7WE215025 1998 CHEV

2G1WD5EM3A1126889 2010 CHEV

1FBHE31G8RHB01615 1994 FORD

1FMRU15W01LB62396 2001 FORD

This notification is published in JACKSONVILLE DAILY RECORD on 09/05/2024. Sep. 5 00 (24-05669D)

FIRST INSERTION

NOTICE OF PUBLIC SALE

WILSONS gives notice that on 09/17/2024 at 09:00 AM the following vehicles(s) may be sold by public sale at 1882 DUNN AVE, JACKSONVILLE, FL 32218 to satisfy the lien for the amount owed on each vehicle for any recovery, towing, or storage services charges and administrative fees allowed pursuant to Florida statute 713.78.

3N1AB6APXAL641726 2010 NISS

WDDHF5GB7AA107263 2010 MERCEDES

5FNYF18455B047760 2005 HONDA

SAJHX1748SC739973 1995 JAQUAR

JT3GN87R510211963 2001 TOYO

1GKLRMED6AJ149549 2010 GMC

JS1GN79A552101058 2005 SUZUKI

WDDHF5KB5CA609277 2012 MERCEDES

WBAET37494NJ80432 2004 BMV

2GCDC14K6J1113354 1988 CHEV

3FA6P0HD5ER274725 2014 FORD

1HGES16375L011334 2005 HONDA

ZDM1RADN69B021981 2009 DUCATI

3N1AB7AP0KY363364 2019 NISS

2008 FORD 2FMDK52C89BA13098 2009 FORD 3FA6P0G7XDR243867 2013 FORD 1HGCD5637TA108342 1996 HOND 5NPEC4AC7BH039316 2011 HYUN 5NPEU4AC1AH622900 2010 HYUN KMHCN4AC2BU612187 2011 HYUN KMHTC6AD4FU226435 2015 HYUN 5N1CL0MM4EC523475 2014 INFI 1J8FT28088D534586 2008 JEEP 1J4FT68S4XL602963 1999 JEP KNADH4A34A6660032 2010 KIA JTHBA30G955114477 2005 LEXS JM1FE173980214658 2008 MAZD 1N4AL3AP3DN501486 2013 NISS 1N6AD07U96C457282 2006 NISS 1N6BD0CT4FN718307 2015 NISS 5N1AR18W47C627474 2007 NISS JN8AZ2KR3DT305194 2013 NISS 1N4AL2EP4CC226838 2012 NISSAN 1G2HZ5432HW295982 1987 PONT JF1ZCAC17D2606212 2013 SUBA 5YFBU4EE7DP119720 2013 TOYT WVWMN7AN1AE539673 2010 VOLK 1FMCU93135KC79624 FORD 2005 This notification is published in JACKSONVILLE DAILY RECORD on 09/05/2024. Sep. 5 00 (24-05662D)

FIRST INSERTION

NOTICE UNDER FICTITIOUS NAME LAW PURSUANT TO SECTION 865.09, FLORIDA STATUTES NOTICE IS HEREBY GIVEN that Carol J. Alexander will engage in business under the fictitious name MABU CULTURE, with a physical address 9550 beauclerc Cove Road Jacksonville, Florida 32257, with a mailing address 9550 beauclerc Cove Road Jacksonville, Florida 32257, and already registered the name mentioned above with the Florida Department of State, Division of Corporations. Sep. 5 00 (24-05650D)

PUBLIC NOTICE OF INTENT TO ISSUE AIR PERMIT

Florida Department of Environmental Protection Division of Air Resource Management, Permit Review Section Draft Air Permit No. 0310166-024-AC JEA, Buckman Water Reclamation Facility Duval County, Florida

Applicant: The applicant for this project is JEA. The applicant’s authorized representative and mailing address is: Kevin Holbrooks, Director Air Permitting and Compliance, JEA, Buckman Water Reclamation Facility, 2221 Buckman Street, Jacksonville, FL 32206.

Facility Location: JEA operates the existing Buckman Water Reclamation Facility, which is in Duval County at 2221 Buckman Road in Jacksonville, Florida.

FIRST INSERTION

NOTICE UNDER FICTITIOUS NAME LAW

According to Florida Statute Number 865.09 NOTICE IS HEREBY GIVEN that the undersigned, desiring to engage in business under the Fictitious Name of Jack Wild located at 6625 Argyle Forest Blvd, Suite 4 PMD 3051, in the City of Jacksonville, Duval County, Florida 32244 intends to register the said name with the Division of Corporations of the Department of State, Tallahassee, Florida.

Dated at Jacksonville, Florida, this 3rd day of September, 2024. David Aaron Sep. 5 00 (24-05639D)

FIRST INSERTION

403, Florida Statutes (F.S.) and Chapters 62-4, 62-210 and 62-212 of the Florida Administrative Code (F.A.C.). The proposed project is not exempt from air permitting requirements and an air permit is required to perform the proposed work. The Permitting Authority responsible for making a permit determination for this project is the Permit Review Section in the Department of Environmental Protection’s Division of Air Resource Management. The Permitting Authority’s physical address is: 2600 Blair Stone Road, Tallahassee, Florida. The Permitting Authority’s mailing address is: 2600 Blair Stone Road, MS #5505, Tallahassee, Florida 32399-2400. The Permitting Authority’s phone number is 850-717-9000.

DUVAL COUNTY

FIRST INSERTION

NOTICE OF PUBLIC SALE: JIMMIE’S WRECKER SERVICE gives notice that on 09/25/2024 at 09:00 AM the following vehicles(s) may be sold by public sale at 8939 MONCRIEF DINSMORE RD. JACKSONVILLE FL 32219 to satisfy the lien for the amount owed on each vehicle for any recovery, towing, or storage services charges and administrative fees allowed pursuant to Florida statute 713.78. KMHDU4AD6AU135102 2010 HYUNDAI WMWLN5C34H2E33533 2017 MINC This notification is published in JACKSONVILLE DAILY RECORD on 09/05/2024. Sep. 5 00 (24-05674D)

JT3GN86R5Y0171735 2000 TOYO

1G1JC52FX57172845 2005 CHEV

1G6DW677560148257 2006 CADI

5NPEU46F99H451957 2009 HYUN

1G1BC5SM4J7195633 2018 CHEV

2C4GP44383R135176 2003 CHRY

1GTDT13X23K185880 2003 GMC

1GNDS13S762231562 2006 CHEV

1FM5K7D83DGA96868 2013 FORD

WBAWB335X8P134656

2008 BMW

KMHLL4AG7MU212847

2021 HYUN

1HGCM66526A053357

2006 HONDA

KMHGN4JE7FU075924

2015 HYUN

3GNBABDB1AS588733

2010 CHEVY

JH2AF7715GK002066

2016 HONDA

JS1GV75AXX2100383

1999 SUZUKI

3FAHP0JGXCR352278

2012 FORD

3N1AB7AP8HY287580

2017 NISS

1G8ZV57727F151450

2007 SATURN

1G4HD572X7U154323

2007 BUIC

1G6AB5RX6F0104127

2015 CADI

3N1CN7AP0GL847782

2016 NISS

5XXGT4L39GG113795

2016 KIA

This notification is published in JACKSONVILLE DAILY RECORD on 09/05/2024. Sep. 5 00 (24-05640D)

Project: The Buckman Water Reclamation Facility is a wastewater treatment plant (WWTP) with a maximum treatment capacity of 52.5 million gallons per day (MMgpd). An influent pump station connected to the sanitary sewer collection system delivers raw wastewater to the facility. The facility consists primarily of an aerated grit chamber, primary clarifiers, aeration basins, secondary clarifiers, and ultraviolet (UV) treatment. Treated effluent is then discharged into the St. Johns River. The facility also contains biogas capture and control operations and biosolids processing (i.e., handling, drying, and processing) operations. Facility operations are supported by 3 boilers (Boiler Nos. 1, 2, and 3), 2 diesel-fired emergency engine generators, an enclosed flare, and a gasoline dispensing facility. Odorous gases from the influent junction box, wet well, and pump station prior to the aerated grit chamber are collected and treated in Odor Control System No. 1. Odorous gas from the biosolids building is treated in the Odor Control System No. 2. Odorous gases from the raw sludge storage tank are collected and treated in the Odor Control System No. 2A. Three anaerobic digesters treat wastewater and produce biogas. Biogas is either fired by the existing sludge drum dryer or an enclosed flare for any biogas not fired by the sludge dryer. The sludge dryer fires biogas, natural gas, and/or a combination of these fuels to produce biosolids. The sludge dryer uses a venturi scrubber for solids recovery and a regenerative thermal oxidizer (RTO) for control of volatile organic compound (VOC) and organic hazardous air pollutant (HAP) emissions. Dried biosolids from the sludge dryer are crushed and pelletized before being conveyed to a storage silo and loaded onto trucks for offsite transportation. Dried biosolids handling operations use a wet scrubber to control particulate matter (PM) emissions.

This project authorizes the construction of a new biosolids treatment facility intended to replace the existing biosolids treatment facility, which is reaching the end of its useful life. The proposed biosolids treatment facility will consist of 2 natural gas- and biogas-fired sludge dryers operating in parallel, each equipped with a venturi scrubber for solids recovery and a natural gas-fired RTO for VOC and organic HAP emissions control, a biosolids handling area equipped with a wet scrubber, biosolids silos and truck loadout operations equipped with a wet scrubber, and an emergency diesel-fired engine generator. Odor control systems will control objectionable odors from the sludge tank and gravity belt thickener. Potential emissions of nitrogen oxides (NOX), PM, VOC, carbon monoxide (CO) will increase because of this project. However, these emissions increases will not result in reclassification as a major source of air pollutants.

Permitting Authority: Applications for air construction permits are subject to review in accordance with the provisions of Chapter

Project File: A complete project file is available for public inspection during the normal business hours of 8:00 a.m. to 5:00 p.m., Monday through Friday (except legal holidays), at the address indicated above for the Permitting Authority. The complete project file includes the Draft Permit, the Technical Evaluation and Preliminary Determination, the application and information submitted by the applicant (exclusive of confidential records under Section 403.111, F.S.). Interested persons may contact the Permitting Authority’s project engineer for additional information at the address and phone number listed above. In addition, electronic copies of these documents are available on the following web site by entering the draft permit number: https://fldep.dep.state.fl.us/air/ emission/apds/default.asp.

Notice of Intent to Issue Air

Permit: The Permitting Authority gives notice of its intent to issue an air construction permit to the applicant for the project described above. The applicant has provided reasonable assurance that operation of proposed equipment will not adversely impact air quality and that the project will comply with all applicable provisions of Chapters 62-4, 62-204, 62-210, 62-212, 62-296 and 62-297, F.A.C. The Permitting Authority will issue a Final Permit in accordance with the conditions of the proposed Draft Permit unless a timely petition for an administrative hearing is filed under Sections 120.569 and 120.57, F.S. or unless public comment received in accordance with this notice results in a different decision or a significant change of terms or conditions.

Comments: The Permitting Authority will accept written comments concerning the proposed Draft Permit for a period of 14 days from the date of publication of the Public Notice. Written comments must be received by the Permitting Authority by close of business (5:00 p.m.) on or before the end of this 14-day period to the above address and electronically to David Read at David.Read@FloridaDEP. gov. If written comments received result in a significant change to the Draft Permit, the Permitting Authority shall revise the Draft Permit and require, if applicable, another Public Notice. All comments filed will be made available for public inspection.

Petitions: A person whose substantial interests are affected by the proposed permitting decision may petition for an administrative hearing in accordance with Sections 120.569 and 120.57, F.S. Petitions filed by any persons other than those entitled to written notice under Section 120.60(3), F.S., must be filed within 14 days of publication of the Public Notice or receipt of a written notice, whichever occurs first. Under Section 120.60(3), F.S., however, any person who asked the Permitting Authority for notice of agency action may file a petition within 14 days of receipt of that notice, regardless of the date of publication. A petitioner shall mail a copy of the petition to the applicant at the address indicated above, at the time of filing. A petition for administrative hearing must

contain the information set forth below and must be filed (received) with the Agency Clerk in the Office of General Counsel, 3900 Commonwealth Boulevard, MS 35, Tallahassee, Florida 32399-3000, Agency_Clerk@dep.state.fl.us before the deadline. The failure of any person to file a petition within the appropriate time period shall constitute a waiver of that person’s right to request an administrative determination (hearing) under Sections 120.569 and 120.57, F.S., or to intervene in this proceeding and participate as a party to it. Any subsequent intervention (in a proceeding initiated by another party) will be only at the approval of the presiding officer upon the filing of a motion in compliance with Rule 28-106.205, F.A.C. A petition that disputes the material facts on which the Permitting Authority’s action is based must contain the following information: (a) The name and address of each agency affected and each agency’s file or identification number, if known; (b) The name, address, any email address, telephone number and any facsimile number of the petitioner; the name, address any email address, telephone number, and any facsimile number of the petitioner’s representative, if any, which shall be the address for service purposes during the course of the proceeding; and an explanation of how the petitioner’s substantial interests will be affected by the agency determination; (c) A statement of when and how each petitioner received notice of the agency action or proposed decision; (d) A statement of all disputed issues of material fact. If there are none, the petition must so state; (e) A concise statement of the ultimate facts alleged, including the specific facts the petitioner contends warrant reversal or modification of the agency’s proposed action; (f) A statement of the specific rules or statutes the petitioner contends require reversal or modification of the agency’s proposed action including an explanation of how the alleged facts relate to the specific rules or statutes; and, (g) A statement of the relief sought by the petitioner, stating precisely the action the petitioner wishes the agency to take with respect to the agency’s proposed action. A petition that does not dispute the material facts upon which the Permitting Authority’s action is based shall state that no such facts are in dispute and otherwise shall contain the same information as set forth above, as required by Rule 28-106.301, F.A.C. Because the administrative hearing process is designed to formulate final agency action, the filing of a petition means that the Permitting Authority’s final action may be different from the position taken by it in this Public Notice of Intent to Issue Air Permit. Persons whose substantial interests will be affected by any such final decision of the Permitting Authority on the application have the right to petition to become a party to the proceeding, in accordance with the requirements set forth above. Extension of Time: Under Rule 62-110.106(4), F.A.C., a person whose substantial interests are affected by the Department’s action may also request an extension of time to file a petition for an administrative hearing. The Department may, for good cause shown, grant the request for an extension of time. Requests for extension of time must be filed with the Office of General Counsel of the Department at 3900 Commonwealth Boulevard, Mail Station 35, Tallahassee, Florida 32399-3000, or via electronic correspondence at Agency_Clerk@ dep.state.fl.us, before the deadline for filing a petition for an administrative hearing. A timely request for extension of time shall toll the running of the time period for filing a petition until the request is acted upon.

Mediation: Mediation is not available in this proceeding. Sep. 5 00 (24-05638D)

PUBLIC NOTICES

IN THE COUNTY COURT, FOURTH JUDICIAL CIRCUIT, IN AND FOR DUVAL COUNTY, FLORIDA CASE NO.: 16-2023-CC-018796

DIVISION: CC-J

121 FINANCIAL CREDIT UNION, Plaintiff, vs. VALERIE GOGGINS, Defendant.

NOTICE OF ACTION

To the following Defendant: Valerie Goggins 7736 Pottsburg STA Jacksonville, FL 32245 OR Whose residence is unknown

YOU ARE HEREBY NOTIFIED that an action for damages

IN THE CIRCUIT COURT, FOURTH JUDICIAL CIRCUIT, IN AND FOR DUVAL COUNTY, FLORIDA

PROBATE DIVISION CASE NO.: 16-2024-CP-001485

DIVISION: PR-B IN RE: THE ESTATE OF BESSIE VIOLA HALTER, Deceased.

NOTICE TO CREDITORS

The administration of the estate of Bessie Viola Halter, deceased, whose date of death was June 10, 2023, is pending in the Circuit Court, Fourth Judicial Circuit, in and for Duval County, Florida, Probate Division, the address of which is 501 W. Adams Street, Jacksonville, FL 32202. The names and address of the personal representative and the personal representative’s attorney are set forth below. All creditors of the decedent and other persons having claims or demands against decedent’s estate on whom a copy of this

FIRST INSERTION

FAMILY COURT OF THE STATE OF NEW YORK COUNTY OF SUFFOLK

File#: 182527

Docket#: G-13928-24

In the Matter of an Article 6 Guardianship Proceeding

Christine Mullis (Petitioner)

Matthew Fox (Respondent)

Lisa M. Bergstrom (Deceased) (Respondent) Matthew Fox

(DOB: 05/30/2017)

SUMMONS-GENERAL (IN PERSON)

To: Matthew Fox

Address is Unknown A petition under Article 6 of the Family Court Act has been filed with this Court.

YOU ARE HEREBY SUMMONED to appear IN PERSON before this Court on:

Date/Time/Part: September 17, 2024 at 09:30 AM in Part 1 Central Islip

Purpose: Return of Process and Conf. Presiding: Hon. Mary E. Porter Location: Suffolk County Family Court, 400 Carleton Avenue, Central Islip, NY 11722-9076

Floor: 2 Room: F25 to answer the attached petition and to be dealt with in accordance with the Family Court Act. Please bring this notice with you and check in with the Court Officer in the Part. If you fail to appear as directed, a warrant may be issued for your arrest.

Dated: August 30, 2024

Michael J. Williams, Chief Clerk

NOTICE: FAMILY COURT ACT §154(C) PROVIDES THAT PETITIONS BROUGHT PURSUANT TO ARTICLES 4, 5, 6, 8 AND 10 OF THE FAMILY COURT ACT, IN WHICH AN ORDER OF PROTECTION IS SOUGHT OR IN WHICH A VIOLATION OF AN ORDER OF PROTECTION IS ALLEGED, MAY BE SERVED OUTSIDE THE STATE OF NEW YORK UPON A RESPONDENT WHO IS NOT A RESIDENT OR DOMICILIARY OF THE STATE OF NEW YORK. IF NO OTHER GROUNDS FOR OBTAINING PERSONAL

JURISDICTION OVER THE RESPONDENT EXIST ASIDE FROM THE APPLICATION OF THIS PROVISION, THE EXERCISE OF PERSONAL JURISDICTION OVER THE RESPONDENT IS LIMITED TO THE ISSUE OF THE REQUEST FOR, OR ALLEGED VIOLATION OF, THE ORDER OF PROTECTION. WHERE THE RESPONDENT HAS BEEN SERVED WITH THIS SUMMONS AND PETITION AND DOES NOT APPEAR, THE FAMILY COURT MAY PROCEED TO A HEARING WITH RESPECT TO ISSUANCE OR ENFORCEMENT OF THE ORDER OF PROTECTION. Sep. 5/12 00 (24-05672D)

FIRST INSERTION

has been filed against you and you are required to serve a copy of your written defenses, if any, to it on Jimerson Birr, P.A. whose address is One Independent Drive, Suite 1400, Jacksonville, Florida 32202, and file the original with the Clerk of the abovestyled Court on or before thirty (30) days from the first publication, othenwise a Judgment may be entered against you for the relief demanded in the Complaint. Americans With Disabilities Act (ADA) Notice In accordance with the Americans with Disabilities Act of 1990 (ADA), If you are a person with a disability who needs any accommodation in order to participate in this proceeding, you are entitled, at no cost to

FIRST INSERTION

notice is required to be served must file their claims with this court WITHIN THE LATER OF THREE (3) MONTHS AFTER THE TIME OF THE FIRST PUBLICATION OF THIS NOTICE OR THIRTY (30) DAYS OF SERVICE OF A COPY OF THIS NOTICE ON THEM.

All other creditors of the decedent and other persons having claims or demands against decedent’s estate must file their claims with this court WITHIN THREE (3) MONTHS AFTER THE DATE OF THE FIRST PUBLICATION OF THIS NOTICE. ALL CLAIMS NOT SO FILED WILL BE FOREVER BARRED. NOTHWITHSTANDING THE TIME PERIOD SET FORTH ABOVE, ANY CLAIM FILED TWO (2) YEARS OR MORE AFTER THE DECEDENT’S DATE OF DEATH IS BARRED. A personal representative or curator has no duty to discover whether any property held at the

FIRST INSERTION IN THE CIRCUIT COURT, FOURTH JUDICIAL CIRCUIT, IN AND FOR DUVAL COUNTY, FLORIDA Case No.: 16-2024-CP-002141 Division: PR-B IN RE: THE ESTATE OF WILLIE ROY TUCKER, Deceased. NOTICE TO CREDITORS

The administration of the estate of WILLIE ROY TUCKER, deceased, whose date of death was June 11, 2023, is pending in the Circuit Court for Duval County, Florida, Probate Division, the address of which is 501 West Adams Street, Room 1173, Jacksonville, Florida 32202. The names and addresses of the personal representative and the personal representative’s attorney are set forth below.

All creditors of the decedent and other persons having claims or demands against decedent’s estate on whom a copy of this notice is required to be served must file their claims with this court ON OR BEFORE THE LATER OF 3 MONTHS AFTER THE TIME OF THE FIRST PUBLICATION OF THIS NOTICE OR 30 DAYS AFTER THE DATE OF SERVICE OF A COPY OF THIS NOTICE ON THEM.

All other creditors of the decedent and other persons having claims or demands against decedent’s estate must file their claims with this court WITHIN 3 MONTHS AFTER THE DATE OF THE FIRST PUBLICATION OF THIS NOTICE. ALL CLAIMS NOT SO FILED WITHIN THE TIME PERIODS SET FORTH IN FLORIDA STATUTES SECTION 733.702 WILL BE FOREVER BARRED. NOTWITHSTANDING THE TIME PERIODS SET FORTH ABOVE, ANY CLAIM FILED TWO (2) YEARS OR MORE AFTER THE DECEDENT’S DATE OF DEATH IS BARRED. The personal representative has no duty to discover whether any property held at the time of the decedent’s death by the decedent or the decedent’s surviving spouse is property to which the Florida Uniform Disposition of Community Property Rights at Death Act as described in ss. 732.216732.228, Florida Statutes, applies, or may apply, unless a written demand is made by a creditor as specified under s. 732.2211, Florida Statutes.

The date of first publication of this notice is September 5, 2024. Personal Representative: CHAMARA G. WIMS Attorney for Personal Representative: Amber R. Donley, Esquire Florida Bar No.: 0086278 1700 Wells Road, Suite 27 Orange Park, Florida 32073

Telephone: (904) 265-5422

Email: ardonley@donleylawfirm.com Sep. 5/12 00 (24-05642D)

you, to the provision of certain assis-

tance. Please contact the ADA Coordinator at (904) 255-1695 or crtintrp@coj.net at least 7 days before your scheduled court appearance, or immediately upon receiving this notification if the time before the scheduled appearance is less than 7 days; if you are hearing or voice impaired, call 711. WITNESS my hand and the seal of this Court this 3rd day of September, 2024.

Clerk of the Circuit Court

Duval County, Florida As Clerk of the Court by: By: N’Colas Burton As Deputy Clerk

(Court Seal)

Sep. 5/12/19/26 00 (24-05576D)

time of the decedent’s death by the decedent or the decedent’s surviving spouse is property to which the Florida Uniform Disposition of Community Property Rights at Death Act as described in sections 732.216-732.228, applies, or may apply, unless a written demand is made by a creditor as specified under section 732.2211.

The date of first publication of this notice is September 5, 2024. Dawn M. Halter, Personal Representative THREE RIVERS LEGAL SERVICES, INC.

Rachel Rall

Florida Bar No.: 643335

3225 University Blvd., South #220 Jacksonville, FL 32216

Telephone: (904) 717-0833

Facsimile: (904) 855-4117

Email: Rachel.Rall@trls.org

Attorneys for Personal Representative Sep. 5/12 00 (24-05644D)

FIRST INSERTION

IN THE CIRCUIT COURT OF THE FOURTH JUDICIAL CIRCUIT, IN AND FOR DUVAL COUNTY, FLORIDA Case No.: 16-2023-CA-009066 Division: FC-G PNC Bank, National Association Plaintiff, vs. Latrice B. Samuels, et al. Defendants.

NOTICE OF SALE

Notice is hereby given that on September 19, 2024 at 11:00AM, the below named Clerk of Court will offer by electronic sale at: www.duval.realforeclose.com the following described real property: Lot 336, Villages of Westport- Phase 2, as per plat thereof, recorded in Plat Book 66, Page 115 through 123, of the Public Records of Duval County, Florida. Commonly known as: 12336 Crossfield Drive, Jacksonville, FL 32219

Any person claiming an interest in the surplus from this sale, if any, other than the property owner as of the date of the lis pendens must file a claim before the clerk reports the surplus as unclaimed.

The sale is being held pursuant to the Final Judgment of Foreclosure entered on August 29, 2024, in Civil Case No. 16-2023-CA009066, pending in the Circuit Court in Duval County, Florida. Americans With Disabilities Act (ADA) Notice In accordance with the Americans with Disabilities Act of 1990 (ADA), If you are a person with a disability who needs any accommodation in order to participate in this proceeding, you are entitled at no cost to you, to the provision of certain assistance. Please contact the ADA Coordinator at crtintrp@coj.net or (904) 2551695 at least 7 days before your scheduled court appearance, or immediately upon receiving this notification if the time before the scheduled appearance is less than 7 days; if you are hearing or voice impaired, call 711.

Date: September 4, 2024

JODY PHILLIPS

CLERK OF THE CIRCUIT COURT DUVAL COUNTY, FLORIDA

By: Joy E. Rodriguez Deputy Clerk (Court Seal)

Michael E. Carleton (Florida Bar No.: 1007924)

Valerie N. Edgecombe

(Florida Bar No.: 10193)

Jordan A. Zeppetello

(Florida Bar No.: 1049568)

Jasmin Hernandez

(Florida Bar No.: 1044494)

Manley Deas Kochalski LLC

P. O. Box 165028

Columbus, OH 43216-5028

Telephone: 407-404-5266

Telecopier: 614-220-5613

Primary: statee-file@mdklegal.com

Secondary: SEF-MECarleton@mdklegal.com

Attorney for Plaintiff Sep. 5/12 00 (24-05675D)

FIRST INSERTION IN THE CIRCUIT COURT OF THE FOURTH JUDICIAL CIRCUIT, IN AND FOR DUVAL COUNTY, FLORIDA Case No.: 16-2024-CA-003380 Division: CV-H SCOTT D. ROWLAND, JULIE L. RICHENS, KEITH A. ROWLAND, AND DONNA L. ROWLAND, Plaintiffs, vs. DAVID EVANS AND LANCE PARARO, Defendants, NOTICE OF ACTIONCONSTRUCTIVE SERVICE NOTICE BY PUBLICATION TO: DAVID EVANS & LANCE PARARO YOU ARE HEREBY NOTIFIED that a complaint for partition has been filed and commenced in this court and you are required to serve a copy of your written defenses, if any, to it on Rocky Rinker, attorney for the Plaintiff, whose address is 735 Arlington Ave N, Suite 203, St. Petersburg, FL 33701 and file the original with the clerk of the above styled court on or before 30 days from the first publication of this Notice; otherwise a default will be entered against you for the relief prayed for in the complaint or petition.

This notice shall be published once each week for four consecutive weeks in Jacksonville Daily Record.

WITNESS my hand and the seal on this 28th day of August, 2024. JODY PHILLIPS As Clerk of the Circuit Court 501 W Adams St Jacksonville, FL 32202

By: Pamela R. Harrell As Deputy Clerk (Court Seal)

By: /s Michael Harkins, Esq. Rocky Rinker, Attorney at Law, P.A. Attorney for Plaintiff 735 Arlington Ave N, Suite 203 St. Petersburg, FL 33701 (727) 466-3411-Phone info@rockyrinker.com

Florida Bar#: 94249 Sep. 5/12/19/26 00 (24-05654D)

FIRST INSERTION IN THE CIRCUIT COURT, FOURTH JUDICIAL CIRCUIT, IN AND FOR DUVAL COUNTY, FLORIDA

CASE NO.: 16-2022-CA-004638

DIVISION: CV-H THARINI HILL, Plaintiff. v. THE ESTATE OF MERNICE V. WILLIAMS, DECEASED, JARRETT ARMOND WILLIAMS AS PERSONAL REPRESENTATIVE; JARRETT ARMOND WILLIAMS; AND ZAKIYYAH W. FURQAN, Defendants.

NOTICE OF ACTION NOTICE is hereby given that a civil action commenced on the 5th day of August 2022 and is now pending as case number 16-2022CA-004638 in the Circuit Court, Fourth Judicial Circuit, In and For Duval County, Florida.

The name of the party to this action is: ZAKIYYAH W. FURQAN, whose last known address was in Fulton County, GA. and the nature of the proceeding is a Quiet Tax Title Action for the parcel of real property that is more commonly known as 7003 Ken Knight Drive East, Jacksonville, Florida 32209 (the “Property”). It is requested that the Duval County Clerk of Court forward this Notice to the Fulton Neighbor in Fulton County, Georgia for publication. This Notice shall be published once each week for four (4) consecutive weeks within the Fulton Neighbor in Fulton County, GA. Please contact Plaintiff’s counsel, Daniel M. Copeland, Attorney at Law, P.A., whose address is 9310 Old Kings Road South, Suite 1501, Jacksonville, Florida 32257, on or before October 9, 2024, for receipt of the Complaint and Summons. The defendant is required to file written defenses with the clerk of court at the Duval County Courthouse, 501 West Adams Street, Jacksonville, Florida, 32202 not less than 28 days nor more than 60 days after the first publication on the plaintiff’s attorney. If the defendant fails to do so, a default against the defendant will be entered for the relief demanded in the complaint.

WITNESSED by my hand and seal of this Court at Duval County, Florida, on this 3rd day of September, 2024.

FIRST INSERTION IN THE CIRCUIT COURT OF THE FOURTH JUDICIAL CIRCUIT OF FLORIDA IN AND FOR DUVAL COUNTY GENERAL JURISDICTION DIVISION CASE NO. 16-2024-CC-009322 DIVISION: CC-Q CIS HOME LOANS, Plaintiff, vs. LASHANDA MARIE RICHEY, et al., Defendant. NOTICE OF ACTION To: LASHANDA MARIE RICHEY 10201 W BEAVER ST 371 JACKSONVILLE, FL 32220 LAST KNOWN ADDRESS STATED, CURRENT RESIDENCE UNKNOWN YOU ARE HEREBY NOTIFIED that an action for Replevin and Damages covering the following real and personal property described as follows, to-wit: 1999 SKYL VIN# 8D610613L a Manufactured Home

has been filed against you and you are required to file a copy of your written defenses, if any, to it on Nicholas J Vanhook, Esq., McCalla Raymer Leibert Pierce, LLC, 225 East Robinson Street, Suite 155, Orlando, FL 32801 and file the original with the Clerk of the above- styled Court on or before 30 days from the first publication, otherwise a Judgment may be entered against you for the relief demanded in the Complaint. WITNESS my hand and seal of said Court on the 3rd day of September, 2024. JODY PHILLIPS CLERK OF THE CIRCUIT COURT As Clerk of the Court BY: N’Colas Burton Deputy Clerk (Court Seal) MCCALLA RAYMER LEIBERT PIERCE, LLC 225 East Robinson Street, Suite 155, Orlando, FL 32801 Phone: (407) 674-1850 Fax: (321) 248-0420 Sep. 5/12/19/26 00 (24-05655D)

FIRST INSERTION

IN THE CIRCUIT COURT, FOURTH JUDICIAL CIRCUIT, IN AND FOR DUVAL COUNTY FLORIDA CASE NO.: 16-2024-CP-002476

DIVISION: PR-A IN RE: ESTATE OF AMEETA DATTATARYA KOTHARE, Deceased. NOTICE TO CREDITORS TO ALL PERSONS HAVING CLAIMS OR DEMANDS AGAINST THE ABOVE ESTATE: The administration of the AMEETA DATTATARYA KOTHARE, deceased, File No. 16-2024-CP-002476, is pending the Circuit Court for Duval County, Florida, Probate Division, the address of which is 501 West Adams Street, Room 1173, Jacksonville, FL 32202. The names and addresses of the Petitioner and Petitioner’s attorney are set forth below.

ALL INTERESTED PERSONS ARE NOTIFIED THAT: All creditors of the decedent and any other persons having claims or demands against decedent’s estate on whom a copy of this notice is served within three months after the date of the first publication of this notice must file their claims with this Court WITHIN THE LATER OF THREE MONTHS AFTER THE DATE OF THE FIRST PUBLICATION OF THIS NOTICE OR THIRTY DAYS AFTER THE DATE OF SERVICE OF A COPY OF THIS NOTICE ON THEM. All other creditors of the decedent and persons having claims

NOTICE OF AGENCY ACTION TAKEN BY THE ST. JOHNS RIVER WATER MANAGEMENT DISTRICT

Notice is given that the following permit was issued on August 29, 2024. Big Creek Timber, 4310 Pablo Oaks Ct., Jacksonville, FL 32224, Evrdev, LLC 4310 Pablo Oaks Ct., Jacksonville, FL 32224, Estuary LLC, 4310 Pablo Oaks Ct., Jacksonville, FL 32224, permit # 183922-8. The project is located in Duval County, Section 15,27,48,22, Township 4S, Range 28E. The permit authorizes a minor modification of Permit No. 183922-2 for Ranger Station Outparcels to include the construction and operation of a 0.9 acre project as per plans received by the District on August 15, 2024. A person whose substantial interests are or may be affected has the right to request an administrative hearing by filing a written petition with the St. Johns River Water Management District (District). Pursuant to Chapter 28-106 and Rule 40C-1.1007, Florida Administrative Code (F.A.C.), the petition must be filed (received) either by delivery at the office of the District Clerk at District Headquarters, P.O. Box 1429, Palatka FL 32178-1429 (4049 Reid St, Palatka, FL 32177) or by e-mail with the District Clerk at Clerk@sjrwmd.com, within twenty-one (21) days of newspaper publication of the notice of District decision (for those persons to whom the District does not mail or email actual notice). A petition must comply with Sections 120.54(5)(b)4. and 120.569(2)(c), Florida Statutes (F.S.), and Chapter 28-106, F.A.C. The District will not accept a petition sent by facsimile (fax). Mediation pursuant to Section 120.573, F.S., may be available and choosing mediation does not affect your right to an administrative hearing. A petition for an administrative hearing is deemed filed upon receipt of the complete petition by the District Clerk at the District Headquarters in Palatka, Florida during the District’s regular busi-

or demands against the decedent’s estate must file their claims with this Court WITHIN THREE MONTHS AFTER THE DATE OF THE FIRST PUBLICATION OF THIS NOTICE. ALL CLAIMS, DEMANDS AND OBJECTIONS NOT SO FILED WILL BE FOREVER BARRED. A personal representative or curator has no duty to discover whether any property held at the time of the decedent’s death by the decedent or the decedent’s surviving spouse is property to which the Florida Uniform Disposition of Community Property Rights at Death Act as described in sections 732.216-732.228, applies, or may apply, unless a written demand is made by a creditor as specified under section 732.2211. The date of first publication of this Notice is: September 5, 2024. Personal Representatives KIMAYA KOTHARE 11198 Englenook Drive Jacksonville, FL 32246 TINA KOTHARE 11198 Englenook Drive Jacksonville, FL 32246 Attorneys for Personal Representative PRESTON H. OUGHTON, ESQ. Florida Bar Number: 0059389

Law Office of Preston H. Oughton 301 W. Bay Street, Suite 1424 Jacksonville, FL 32202 Telephone: (904) 854-6336

Facsimile: (904) 854-6331

E-Mail: eservice@oughtonlaw.com Sep. 5/12 00 (24-05647D)

ness hours. The District’s regular business hours are 8 a.m. – 5 p.m., excluding weekends and District holidays. Petitions received by the District Clerk after the District’s regular business hours shall be deemed filed as of 8 a.m. on the District’s next regular business day. The District’s acceptance of petitions filed by e-mail is subject to certain conditions set forth in the District’s Statement of Agency Organization and Operation (issued pursuant to Rule 28101.001, Florida Administrative Code), which is available for viewing at floridaswater.com. These conditions include, but are not limited to, the petition being in the form of a PDF or TIFF file and being capable of being stored and printed by the District. Further, pursuant to the District’s Statement of Agency Organization and Operation, attempting to file a petition by facsimile (fax) is prohibited and shall not constitute filing. The right to an administrative hearing and the relevant procedures to be followed are governedby Chapter 120, Florida Statutes, Chapter 28-106, Florida Administrative Code, and Rule 40C1.1007, Florida Administrative Code. Because the administrative hearing process is designed to formulate final agency action, the filing of a petition means the District’s final action may be different from the position taken by it in this notice. Failure to file a petition for an administrative hearing within the requisite time frame shall constitute a waiver of the right to an administrative hearing. (Rule 28-106.111, F.A.C.).

If you wish to do so, please visit http://floridaswater.com/nor_ dec/ to read the complete Notice of Rights to determine any legal rights you may have concerning the District’s decision(s) on the permit application(s) described above. You can also request the Notice of

PUBLIC NOTICES

FIRST INSERTION

ORDER OF PUBLICATION COMMONWEALTH OF VIRGINIA CASE NO. CL23-814

Frederick County Circuit Court

5 N Kent Street, Winchester, VA 22601

Commonwealth of Virginia, in re Amber Nanette Harrell

v. David Jay Harrell

The object of this suit is to: Divorce

It is ORDERED that David Jay Harrell appear at the abovenamed court and protect his/her interests on or before Monday, October 21, 2024

Dated: 8/30/24

Sarah J. Kahle, Clerk

A Copy Attest: Frederick County Circuit Court

Sarah J. Kahle Clerk by: Pamela A. Miller Sep. 5/12/19/26 00 (24-05673D)

FIRST INSERTION IN THE CIRCUIT COURT FOR DUVAL COUNTY, FLORIDA

PROBATE DIVISION

Case No. 16-2024-CP-001829

Division PR-B IN RE: ESTATE OF TRUDY VIRGINIA REYNOLDS

Deceased.

NOTICE TO CREDITORS

The formal administration for the estate of Trudy Virginia Reynolds, deceased, whose date of death was April 27, 2024, is pending in the Circuit Court for Duval County, Florida, Probate Division, the address of which is Duval County Courthouse, 501 West Adams Street, Jacksonville, FL 32202. The names and addresses of the personal representatives and the personal representative’s attorney are set forth below. All creditors of the decedent and other persons having claims or demands against decedent’s estate on whom a copy of this notice is required to be served must file their claims with this court WITHIN THE LATER OF 3 MONTHS AFTER THE TIME OF THE FIRST PUBLICATION OF THIS NOTICE OR 30 DAYS AFTER THE DATE OF SERVICE OF A COPY OF THIS NOTICE ON THEM. All other creditors of the decedent and other persons having claims or demands against decedent’s estate must file their claims with this court WITHIN 3 MONTHS AFTER THE DATE OF THE FIRST PUBLICATION OF THIS NOTICE. ALL CLAIMS NOT FILED

NOTICE OF AGENCY ACTION

TAKEN BY THE ST. JOHNS RIVER WATER MANAGEMENT DISTRICT

Notice is given that on August 30, 2024 the District issued Permit No. 147105-4 for a Consumptive Use Permit to serve reclaimed water system supplementation activities with updated well specifications. The total allocation authorized is 0.142 mgd of groundwater. The project is located in Duval County, Section: 31, Township: 4 South, Range: 28 East and St. Johns County, Section: 32, Township: 4 South, Range: 29 East. The permit applicant is JEA.

If you wish to receive a copy of a Technical Staff Report (TSR) that provides the St. Johns River Water Management District (District) staffs’ analysis on the above-listed compliance report(s) and associated permit(s), please submit your request to Office Director, Office of Business and Administrative Services, PO Box 1429, Palatka, FL 32178-1429. You may view the TSR by going to the Permitting section of the District’s website at www.sjrwmd.com/permitting/ index.html. To obtain information on how to find and view a TSR, visit https://permitting.sjrwmd. com/epermitting/html/EP_FAQs. html, and then follow the directions provided under “How to find a Technical Staff Report (TSR) or other application file documents.”

A person whose substantial interests are or may be affected has the right to request an administrative hearing by filing a written petition with the District. Pursuant to Chapter 28-106 and Rule 40C-1.1007, Florida Administrative Code (F.A.C.), the petition must be filed (received) either by delivery at the office of the District Clerk at District Headquarters, P. O. Box 1429, Palatka Florida 32178-1429 (4049 Reid St., Palatka, FL 32177) or by e-mail with the District Clerk at Clerk@sjrwmd.com, within twenty-one (21) days of newspaper publication of the notice of District decision (for those persons to whom the District does not mail or email actual notice). A petition for an administrative hearing is deemed

IN THE CIRCUIT COURT FOR DUVAL COUNTY, FLORIDA

PROBATE DIVISION

File No. 16-2024-CP-000400

Division: PR-A IN RE: ESTATE OF CHARLOTTE P. PLATTE

Deceased.

NOTICE TO CREDITORS

The formal administration for the estate of Charlotte P. Platte., deceased, whose date of death was May 23, 2023, is pending in the Circuit Court for Duval County, Florida, Probate Division, the address of which is Duval County Courthouse, 501 West Adams Street, Jacksonville, FL 32202.

The names and addresses of the personal representatives and the personal representative’s attorney are set forth below.

WITHIN THE TIME PERIODS SET FORTH IN SECTION 733.702 OF THE FLORIDA PROBATE CODE WILL BE FOREVER BARRED. NOTWITHSTANDING THE TIME PERIODS SET FORTH ABOVE, ANY CLAIM FILED TWO (2) YEARS OR MORE AFTER THE DECEDENT’S DATE OF DEATH IS BARRED.

A personal representative or curator has no duty to discover whether any property held at the time of the decedent’s death by the decedent or the decedent’s surviving spouse is property to which the Florida Uniform Disposition of Community Property Rights at Death Act as described in sections 732.216-732.228, applies, or may apply, unless a written demand is made by a creditor as specified under section 732.2211. The date of first publication of this notice is September 5, 2024.

Personal Representative Janet Holloway 7610 Baymeadows Circle W., #206 Jacksonville, Florida 32256

Attorneys for Personal Representative Tod R. Smith (FBN – 0791040) Email: tsmith@kohlandsmith.com

Secondary: tsmith@stjohnslaw.com

Law Offices of Kohl, Smith & Sager 1637 Race Track Rd., Suite 206 Saint Johns, FL 32259 Telephone: (904) 230 3200 Sep. 5/12 00 (24-05646D)

filed upon receipt of the complete petition by the District Clerk at the District Headquarters in Palatka, Florida during the District’s regular business hours. The District’s regular business hours are 8 a.m. – 5 p.m., excluding weekends and District holidays. Petitions received by the District Clerk after the District’s regular business hours shall be deemed filed as of 8 a.m. on the next regular District business day. A petition must comply with Sections 120.54(5)(b)4. and 120.569(2)(c), Florida Statutes (F.S.), and Chapter 28-106, F.A.C. The District’s acceptance of petitions filed by e-mail is subject to certain conditions set forth in the District’s Statement of Agency Organization and Operation (issued pursuant to Rule 28-101.001, F.A.C.), which is available for viewing at www. sjrwmd.com. The District will not accept a petition sent by facsimile (fax). Mediation may be available if you meet the conditions stated in the full Notice of Rights (see last paragraph). The right to an administrative hearing and the relevant procedures to be followed are governed by Chapter 120, F.S., Chapter 28-106, F.A.C., and Rule 40C-1.1007, F.A.C. Because the administrative hearing process is designed to formulate final agency action, the filing of a petition means the District’s final action may be different from the position taken by it in this notice. Failure to file a petition for an administrative hearing within the requisite time frame shall constitute a waiver of the right to an administrative hearing. (Rule 28-106.111, F.A.C.). If you wish to do so, please visit http://www.sjrwmd.com/ nor_dec/ to read the complete Notice of Rights to determine any legal rights you may have concerning the District’s decision(s) on the Consumptive Use Permit Application(s) described above. You can also request the Notice of Rights by contacting the Office Director, Office of Business and Administrative Services, P. O. Box 1429, Palatka, FL 32178, phone (386)329-4570. Sep. 5 00 (24-05636D)

WITHIN THE TIME PERI-

ODS SET FORTH IN SECTION 733.702 OF THE FLORIDA PROBATE CODE WILL BE FOREVER BARRED. NOTWITHSTANDING THE TIME PERIODS SET FORTH ABOVE, ANY CLAIM FILED TWO (2) YEARS OR MORE AFTER THE DECEDENT’S DATE OF DEATH IS BARRED.

All creditors of the decedent and other persons having claims or demands against decedent’s estate on whom a copy of this notice is required to be served must file their claims with this court WITHIN THE LATER OF 3 MONTHS AFTER THE TIME OF THE FIRST PUBLICATION OF THIS NOTICE OR 30 DAYS AFTER THE DATE OF SERVICE OF A COPY OF THIS NOTICE ON THEM.

All other creditors of the decedent and other persons having claims or demands against decedent’s estate must file their claims with this court WITHIN 3 MONTHS AFTER THE DATE OF THE FIRST PUBLICATION OF THIS NOTICE. ALL CLAIMS NOT FILED

FIRST INSERTION

IN THE CIRCUIT COURT FOR THE FOURTH JUDICIAL CIRCUIT IN AND FOR DUVAL COUNTY, FLORIDA PROBATE DIVISION CASE NO.: 16-2024-CP-002528

DIVISION: PR- A

IN RE: ESTATE OF KARIN HELENE DEMME, Deceased.

NOTICE TO CREDITORS

A Summary Administration of the Estate of Karin Helene Demme, the deceased, whose date of death was August 18, 2024, is pending in the Circuit Court for Duval County, Florida, Probate Division, the address of which is Duval County Unified Courthouse located at 501 West Adams Street, Room 1173, Jacksonville, FL 32202. The names and addresses of the Petitioner and her attorney are set for below.

All creditors of the Decedent and other persons having claims or demands against the Decedent’s Estate on whom a copy of this Notice is required to be served must file their claims with this Court ON OR BEFORE THE LATER OF 3 MONTHS AFTER THE FIRST DATE OF PUBLICATION OF THIS NOTICE OR 30 DAYS AFTER THE DATE OF SERVICE OF A COPY OF THIS NOTICE ON THEM.

All other creditors of the Decedent and other persons having claims or demands against the Decedent’s Estate must file their claims with this Court WITHIN 3 MONTHS AFTER THE FIRST DATE OF PUBLICATION OF THIS NOTICE.

ALL CLAIMS NOT FILED WITHIN THE TIME PERIODS SET FORTH IN FLORIDA STATUTES SECTION 733.702 WILL BE FOREVER BARRED. NOTWITHSTANDING THE TIME PERIODS SET FORTH ABOVE, ANY CLAIM FILED TWO (2) YEARS OR MORE AFTER THE DECEDENT’S DEATH IS BARRED.

A personal representative or curator has no duty to discover whether any property held at the time of the decedent’s death by the decedent or the decedent’s surviving spouse is property to which the Florida Uniform Disposition of Community Property Rights at Death Act as described in sections 732.216-732.228, applies, or may apply, unless a written demand is made by a creditor as specified under section 732.2211. First date of Publication is September 5, 2024.

/s/Michelle Andrea Rambo

Michelle Andrea Rambo Petitioner

201 Island Marsh Drive

Ponte Vedra Beach, FL 32082

/s/Hae Kyung Lim HAE KYUNG LIM, ESQ

Attorney for Petitioner

Florida Bar No. 165166

Lim & Company, PL lim.co.pl@bellsouth.net

PO Box 350911

Jacksonville, FL 32235-0911

Telephone: 904-220-7702

Facsimile: 904-221-1895

Sep. 5/12

The personal representative has no duty to discover whether any property held at the time of the decedent’s death by the decedent or the decedent’s surviving spouse is property to which the Florida Uniform Disposition of Community Property Rights at Death Act as described in ss. 732.216732.228, Florida Statutes, applies, or may apply, unless a written demand is made by a creditor as specified under s. 732.2211, Florida Statutes.

The date of first publication of this notice is September 5, 2024.

Personal Representative: Harold R. Kelly 6044 Triumph Lane W. Jacksonville, Florida 32244

Attorney for Personal Representative: Tod R. Smith (FBN – 0791040) Email: tsmith@kohlandsmith.com Secondary: tsmith@stjohnslaw.com Law Offices of Kohl, Smith & Sager 1637 Race Track Rd., Suite 206 Saint Johns, FL 32259

Telephone: (904) 230-3200

Sep. 5/12 00 (24-05643D)

FIRST INSERTION IN THE CIRCUIT COURT OF THE 4TH JUDICIAL CIRCUIT IN AND FOR DUVAL COUNTY, FLORIDA PROBATE DIVISION

File No. 16-2024-CP-002017

Division: PR-B IN RE: ESTATE OF MARTHA A. WAY, Deceased.

NOTICE TO CREDITORS

The administration of the estate of MARTHA A WAY, Deceased, whose date of death was June 9, 2024, is pending in the Circuit Court for DUVAL County, Florida, Probate Division, the address of which is 501 W. Adams Street, Jacksonville, FL 32202. The names and addresses of the personal representative and the personal representative’s attorney are set forth below.

All creditors of the decedent and other persons having claims or demands against decedent’s estate on whom a copy of this notice is required to be served must file their claims with this court WITHIN THE LATER OF 3 MONTHS AFTER THE TIME OF THE FIRST PUBLICATION OF THIS NOTICE OR 30 DAYS AFTER THE DATE OF SERVICE OF A COPY OF THIS NOTICE ON THEM.

All other creditors of the decedent and other persons having claims or demands against decedent’s estate must file their claims with this court WITHIN 3 MONTHS AFTER THE DATE OF THE FIRST PUBLICATION OF THIS NOTICE.

ALL CLAIMS NOT FILED WITHIN THE TIME PERIODS SET FORTH IN SECTION 733.702 OF THE FLORIDA PROBATE CODE WILL BE FOREVER BARRED. NOTWITHSTANDING THE TIME PERIODS SET FORTH ABOVE, ANY CLAIM FILED TWO (2) YEARS OR MORE AFTER THE DECEDENT’S DATE OF DEATH IS BARRED.

A personal representative or curator has no duty to discover whether any property held at the time of the decedent’s death by the decedent or the decedent’s surviving spouse is property to which the Florida Uniform Disposition of Community Property Rights at Death Act as described in sections 732.216-732.228, applies, or may apply, unless a written demand is made by a creditor as specified under section 732.2211.

The date of first publication of this notice is September 5, 2024. MONIQUE WAY, Personal Representative Attorneys for Personal Representative

Scott R. Bugay, Esquire Florida Bar No. 5207 Citicentre, Suite P600 290 NW 165 Street Miami FL 33169

Telephone: (305) 956-9040

Fax: (305) 945-2905

Primary Email: Scott@srblawyers.com

00 (24-05648D)

PUBLIC NOTICES

FIRST INSERTION

IN THE CIRCUIT COURT OF THE FOURTH JUDICIAL CIRCUIT, IN AND FOR DUVAL COUNTY, FLORIDA

CASE NO. 16-2023-DR-004860

DIVISION FM-E

ADRIEN JOSEPH MOISAN, Petitioner, and BIANCIA MARIE MOISAN, Respondent.

NOTICE OF ACTION FOR PUBLICATION

TO: Biancia Marie Moisan

YOU ARE NOTIFIED that an action for Dissolution of Marriage, including claims for dissolution of marriage, payment of debts, division of real and personal property, and for payments of support, has been filed against you. You are required to serve a copy of your written defenses, if any, to this action on Obinna Anum, Esq., of Owenby Law, P.A., Petitioner’s attorney, whose address is 6136 Atlantic Blvd, Jacksonville, Florida 32211, on or before October 11, 2024, and file the original with the clerk of this court at Duval County Courthouse, 501 W Adams St., Jacksonville, Florida 32202, either before service on Petitioner’s attorney or immediately thereafter; otherwise a default will be entered against you for the relief demanded in the petition.

WARNING: Rule 12.285, Florida Family Law Rules of Procedure, requires certain automatic disclosure of documents and information. Failure to comply can result in sanctions, including dismissal or striking of pleadings.

DATED this 28th day of October, 2024.

JODY PHILLIPS CLERK OF THE CIRCUIT COURT

By: Jermaine Nelson Deputy Clerk (Court Seal) Sep. 5/12/19/26 00 (24-05582D)

FIRST INSERTION IN THE CIRCUIT COURT OF THE FOURTH JUDICIAL CIRCUIT, IN AND FOR DUVAL COUNTY, FLORIDA CASE NO.: 16-2024-CA-003484

DIVISION: CV-G

STF CAPITAL GROUP LLC, a Florida limited liability company, Plaintiff, vs. PA TRICIA HAIGHT AND WILLIAM HAIGHT, if alive, and if dead, the unknown spouses, heirs, devisees, grantees, assignees, lienors, creditors, trustees other persons claiming by, through, under or against them, or any of them and all unknown persons; TM PROPERTY SOLUTIONS, LLC, Defendants.

NOTICE OF ACTION

TO: PATRICIA HAIGHT, if alive, and if dead, the unknown spouses, heirs, devisees, grantees, assignees, lienors, creditors, trustees other persons claiming by, through, under or against them, or any of them and all unknown persons, or other claimants, or interest in the property herein YOU ARE HEREBY NOTIFIED that an action to Quiet Title to real property in the Circuit Court in Jacksonville, Duval County, Florida styled as Case No.: 16-2024-CA-003484, STF CAPITAL GROUP LLC, a Florida limited liability company, v. PATRICIA HAIGHT, et. al., to the property described as: LOT 70, PLAT OF BARNETT’S SUB DIV, ACCORDING TO PLAT RECORDED IN PLAT BOOK 2, PAGE 79, OF THE CURRENT PUBLIC RECORDS OF DUVAL COUNTY, FLORIDA

A/K/A 1134 WEST 5TH STREET, JACKSONVILLE, FL 32209

RE#:053762-0000

has been filed by STF CAPITAL GROUP LLC, a Florida limited liability company, Plaintiff, and you are required to serve a copy of your written defenses if any, to it on William S. Frazier, 1919-8 Blanding Boulevard, Jacksonville, Florida 32210, 904-384-1441 on or before October 8, 2024 and file the original with the Clerk of this Court either before service on said Plaintiff or immediately thereafter; otherwise a default and judgment will be entered against you for the relief demanded in the Petition. WITNESS my hand and the seal of this Court on this 29th day of August, 2024.

JODY PHILLIPS Clerk of the Court

By: T. Mooradian Deputy Clerk

FIRST INSERTION IN THE COUNTY COURT, FOURTH JUDICIAL CIRCUIT, IN AND FOR DUVAL COUNTY, FLORIDA CASE NO.: 16-2024-CC-007014

DIVISION: CC-K VYSTAR CREDIT UNION, Plaintiff, vs. RUFUS LEE SMITH, Defendant. NOTICE OF ACTION To the following Defendant: Rufus Lee Smith 11510 Laguna Ct Jacksonville, FL 32218 OR Whose residence is unknown YOU ARE HEREBY NOTIFIED that an action for damages has been filed against you and you are required to serve a copy of your written defenses, if any, to it on Jimerson Bin, P.A. whose address is One Independent Drive, Suite 1400, Jacksonville, Florida 32202, and file the original with the Clerk of the abovestyled Court on or before thirty (30) days from the first publication, otherwise a Judgment may be entered against you for the relief demanded in the Complaint. Americans With Disabilities Act (ADA) Notice In accordance with the Americans with Disabilities Act of 1990 (ADA), If you are a person with a disability who needs any accommodation in order to participate in this proceeding, you are entitled, at no cost to you, to the provision of certain assistance. Please contact the ADA Coordinator at (904) 255-1695 or crtintrp@coj.net at least 7 days before your scheduled court appearance, or immediately upon receiving this notification if the time before the scheduled appearance is less than 7 days; if you are hearing or voice impaired, call 711. WITNESS my hand and the seal of this Court this 29th day of August, 2024.

JODY PHILLIPS Clerk of the Circuit Court

Duval County, Florida As Clerk of the Court by: By: Shelby Asay As Deputy Clerk (Court Seal) Sep. 5/12/19/26 00 (24-05608D)

FIRST INSERTION IN THE CIRCUIT COURT OF THE 4TH JUDICIAL CIRCUIT IN AND FOR DUVAL COUNTY CASE NO. 16-2023-DP-410-A DIVISION JV-B IN THE INTEREST OF: J.J. DOB: 8/4/2010, MINOR CHILD NOTICE OF ACTION TERMINATION OF PARENTAL RIGHTS TO: Amanda Swaggerty, address unknown YOU ARE HEREBY NOTIFIED that the State of Florida, Department of Children and Families, has filed a Petition to terminate your parental rights and permanently commit the following child for adoption: J.J. born on 8/4/2010. You are hereby commanded to appear on October 21, 2024, at 1:00 PM before the Honorable Michael Kalil at the Duval Courthouse, 501 W Adams Street Courtroom 204 Jacksonville, FL 32202, for an ADVISORY HEARING.

FAILURE TO PERSONALLY APPEAR AT THIS ADVISORY HEARING CONSTITUTES CONSENT TO THE TERMINATION OF PARENTAL RIGHTS OF THIS CHILD (OR CHILDREN). IF YOU FAIL TO APPEAR ON THE DATE AND TIME SPECIFIED, YOU MAY LOSE ALL LEGAL RIGHTS AS A PARENT TO THE CHILD OR CHILDREN NAMED IN THIS NOTICE.

1. If you are a person with a disability who needs any accommodation in order to participate in this proceeding, you are entitled, at no cost to you, to the provision of certain assistance. Please contact the ADA Coordinator at (904) 255-1695 or crtintrp@coj.net at least 7 days before your scheduled court appearance, or immediately upon receiving this notification if the time before the scheduled appearance is less than 7 days; if you are hearing or voice impaired, call 711. WITNESS, my hand as Clerk of said Court and the Seal thereof, this 29th day of August, 2024. JODY PHILLIPS, Clerk of Court

By: Le My Le As Deputy Clerk (Court Seal) Sep. 5/12/19/26 00 (24-05558D)

FIRST INSERTION

IN THE COUNTY COURT FOR THE 4TH JUDICIAL CIRCUIT

IN AND FOR DUVAL COUNTY, FLORIDA

CASE NO: 16-2024-CC-011271

DIVISION: CC-H

SANTANDER CONSUMER USA, INC., Plaintiff, vs. ERIN BYRD, Defendant.

NOTICE OF ACTION

TO: Erin Byrd 8707 Greatpine Lane W Jacksonville, FL 32244

YOU ARE HEREBY NOTIFIED that a Complaint in Replevin has been filed against you seeking possession of a 2022 Mercedes-Benz C Class, VIN W1KAF4HB8NR014589 you are required to serve a copy of your written defenses, if any, to Bertis Echols, Esq., of Evans Petree, PC, Plaintiff’s attorneys, whose address is 1715 Aaron Brenner Drive, Suite 800, Memphis, TN 38120, and file the original with

IN THE CIRCUIT COURT OF THE 4TH JUDICIAL CIRCUIT IN AND FOR DUVAL COUNTY, FLORIDA

CIRCUIT CIVIL DIVISION Case No. : 16-2024-CA-004611

DIVISION: CV-D

Charles G Welch and Mary L Welch Plaintiffs, vs. Ditech, a Walter Company f/k/a Green Tree Servicing and Ditech Mortgage Corp. et al. Defendants.

NOTICE OF ACTION TO: all unknown parties claiming by, through, under or against defendant(s), whether living or not and whether said unknown parties claim as heirs, devisees, grantees, assignees, lienors, creditors, trustees or in any other capacity claiming by, through, under or against the above-named defendant(s) -Whereabouts unknown YOU ARE HEREBY NOTIFIED that a verified complaint to quiet title and for declaratory relief has been filed against you. You are required to serve a copy of your written defenses, if any to it on attorney for the plaintiff, Michael J. Farrar, Esq., whose address is 3508 NW 114 Ave.

FIRST INSERTION

IN THE CIRCUIT COURT OF THE 4TH JUDICIAL CIRCUIT IN AND FOR DUVAL COUNTY CASE NO. 16-2024-DP-217-A DIVISION JV-B IN THE INTEREST OF: A.A. DOB: 5/8/2024 MINOR CHILD NOTICE OF ACTION TERMINATION OF PARENTAL RIGHTS TO: Devin Devon Jones, Father address unknown YOU ARE HEREBY NOTIFIED that the State of Florida, Department of Children and Families, has filed a Petition to terminate your parental rights and permanently commit the following child for adoption: A.A. born on 5/8/2024. You are hereby commanded to appear on October 7, 2024 , at 1:00 PM before the Honorable Michael Kalil at the Duval Courthouse, 501 W Adams Street, Courtroom 204, Jacksonville, FL 32202, for an ADVISORY HEARING.

FAILURE TO PERSONALLY APPEAR AT THIS ADVISORY HEARING CONSTITUTES CONSENT TO THE TERMINATION OF PARENTAL RIGHTS OF THIS CHILD (OR CHILDREN). IF YOU FAIL TO APPEAR ON THE DATE AND TIME SPECIFIED, YOU MAY LOSE ALL LEGAL RIGHTS AS A PARENT TO THE CHILD OR CHILDREN NAMED IN THIS NOTICE.

If you are a person with a disability who needs any accommodation in order to participate in this proceeding, you are entitled, at no cost to you, to the provision of certain assistance. Please contact the ADA Coordinator at (904) 255-1695 or crtintrp@coj.net at least 7 days before your scheduled court appearance, or immediately upon receiving this notification if the time before the scheduled appearance is less than 7 days; if you are hearing or voice impaired, call 711. WITNESS, my hand as Clerk of said Court and the Seal thereof, this 29th day of August, 2024. JODY PHILLIPS, CLERK OF COURT By: Le My Le DEPUTY CLERK (Court Seal) Sep. 5/12/19/26 00 (24-05557D)

the Clerk of this Court at 501 W A dams St., Jacksonville, FL 32202, on or before October 7, 2024; otherwise a default will be entered against you for the relief prayed for in the complaint or petition.

WITNESS my hand and the seal of said court at on this 28th day of August, 2024. JODY PHILLIPS CLERK OF COURT BY: N’Colas Burton Deputy Clerk (Court Seal) /s/ Bertis Echols Bertis Echols

Florida Bar #0063387

Evans|Petree PC Plaintiff’s Attorney 1715 Aaron Brenner Drive, Suite 800 Memphis, TN 38120

Phone: (901) 525-6781

Fax: (901) 248-6854

E-Mail: bechols@evanspetree.com Sep. 5/12/19/26 00 (24-05569D)

INSERTION

# 201, Doral FL 33178 and file the original with the clerk of the above styled court on or before October 9, 2024; otherwise a default will be entered against you for the relief prayed for in the Complaint. This notice shall be published once a week for four consecutive weeks in the Jacksonville Daily Record beginning on September 5, 2024. Publisher may contact Michael Farrar Esq. at (305) 4639446 for further information. Legal description of property: LOT 30, EAGLES CREEK, UNIT THREE, ACCORDING TO PLAT THEREOF AS RECORDED IN PLAT BOOK 51, PAGES 47, 47A, 47B AND 47C, OF THE CURRENT PUBLIC RECORDS OF DUVAL COUNTY, Florida Assessor’s Parcel No. 162109-2860 a/k/a 12406 Eagles Claw Lane, Jacksonville FL 32225 WITNESS my hand and the eal of said court at Jacksonville, Florida on August 29, 2024.

JODY PHILLIPS CLERK OF THE CIRCUIT COURT

By: Pamela R. Harrell Deputy Clerk (Court Seal) Sep. 5/12/19/26 00 (24-05604D)

FIRST INSERTION IN THE CIRCUIT COURT OF THE 4TH JUDICIAL CIRCUIT IN AND FOR DUVAL COUNTY CASE NO. 16-2024-DP-217-A DIVISION JV-B IN THE INTEREST OF: A.A. DOB: 5/8/2024 MINOR CHILD NOTICE OF ACTION TERMINATION OF PARENTAL RIGHTS TO: Alena Anglin, Mother address unknown YOU ARE HEREBY NOTIFIED that the State of Florida, Department of Children and Families, has filed a Petition to terminate your parental rights and permanently commit the following child for adoption: A.A. born on 5/8/2024. You are hereby commanded to appear on October 7, 2024 , at 1:00 PM before the Honorable Michael Kalil at the Duval Courthouse, 501 W Adams Street, Courtroom 204, Jacksonville, FL 32202, for an ADVISORY HEARING.

FAILURE TO PERSONALLY APPEAR AT THIS ADVISORY HEARING CONSTITUTES CONSENT TO THE TERMINATION OF PARENTAL RIGHTS OF THIS CHILD (OR CHILDREN). IF YOU FAIL TO APPEAR ON THE DATE AND TIME SPECIFIED, YOU MAY LOSE ALL LEGAL RIGHTS AS A PARENT TO THE CHILD OR CHILDREN NAMED IN THIS NOTICE.

If you are a person with a disability who needs any accommodation in order to participate in this proceeding, you are entitled, at no cost to you, to the provision of certain assistance. Please contact the ADA Coordinator at (904) 255-1695 or crtintrp@coj.net at least 7 days before your scheduled court appearance, or immediately upon receiving this notification if the time before the scheduled appearance is less than 7 days; if you are hearing or voice impaired, call 711. WITNESS, my hand as Clerk of said Court and the Seal thereof, this 29th day of August, 2024.

JODY PHILLIPS, CLERK OF COURT

By: Le My Le DEPUTY CLERK (Court Seal) Sep. 5/12/19/26 00 (24-05556D)

DUVAL COUNTY SUBSEQUENT INSERTIONS

THIRD INSERTION

IN THE COUNTY COURT, FOURTH JUDICIAL CIRCUIT, IN AND FOR DUVAL COUNTY, FLORIDA CASE NO.: 16-2024-CC-007280

DIVISION: CC-O

VYSTAR CREDIT UNION, Plaintiff, vs. ODELL D WILLIS AND BRITTANY P. WILLIS, Defendant. NOTICE OF ACTION To the following Defendant: Brittany P. Willis 208 Navajo St Satsuma, FL 32189-3089 OR Whose residence is unknown YOU ARE HEREBY NOTIFIED that an action for damages has been filed against you and you are required to serve a copy of your written defenses, if any, to it on Jimerson Birr, P.A. whose address is One Independent Drive, Suite 1400, Jacksonville, Florida 32202, and file the original with the Clerk of the abovestyled Court on or before thirty (30) days from the first publication, otherwise a Judgment may be entered against you for the relief demanded in the Complaint. Americans With Disabilities Act (ADA) Notice In accordance with the Americans with Disabilities Act of 1990 (ADA), If you are a person with a disability who needs any accommodation in order to participate in this proceeding, you are entitled, at no cost to you, to the provision of certain assistance. Please contact the ADA Coordinator at (904) 255-1695 or crtintrp@coj.net at least 7 days before your scheduled court appearance, or immediately upon receiving this notification if the time before the scheduled appearance is less than 7 days; if you are hearing or voice impaired, call 711. WITNESS my hand and the seal of this Court this 16th day of August, 2024. JODY PHILLIPS Clerk of the Circuit Court Duval County, Florida As Clerk of the Court by: By: Lakesheana English As Deputy Clerk (Court Seal) Aug. 22/29, Sep. 5/12 15 (24-05345D)

THIRD INSERTION IN THE COUNTY COURT, FOURTH JUDICIAL CIRCUIT, IN AND FOR DUVAL COUNTY, FLORIDA CASE NO.: 16-2024-CC-005743

DIVISION: CC-K 121 FINANCIAL CREDIT UNION, Plaintiff, vs. RODNEY DEARY, Defendant. NOTICE OF ACTION

To the following Defendant: Rodney Deary 4727 Plantation Oaks Blvd Orange Park, FL 32065-3648 OR Whose residence is unknown YOU ARE HEREBY NOTIFIED that an action for damages has been filed against you and you are required to serve a copy of your written defenses, if any, to it on Jimerson Birr, P.A. whose address is One Independent Drive, Suite 1400, Jacksonville, Florida 32202, and file the original with the Clerk of the abovestyled Court on or before thirty (30) days from the first publication, otherwise a Judgment may be entered against you for the relief demanded in the Complaint. Americans With Disabilities Act (ADA) Notice

In accordance with the Americans with Disabilities Act of 1990 (ADA), If you are a person with a disability who needs any accommodation in order to participate in this proceeding, you are entitled at no cost to you, to the provision of certain assistance. Please contact the ADA Coordinator at crtintrp@coj.net or (904) 2551695 at least 7 days before your scheduled court appearance, or immediately upon receiving this notification if the time before the scheduled appearance is less than 7 days; if you are hearing or voice impaired, call 711. WITNESS my hand and the seal of this Court this 15th day of August, 2024. JODY PHILLIPS Clerk of the Circuit Court Duval County, Florida As Clerk of the Court by: By: Lakesheana English As Deputy Clerk (Court Seal) Aug. 22/29, Sep. 5/12 15 (24-05318D)

SIXTH INSERTION

NOTICE NOTICE IS HEREBY GIVEN that the City of Jacksonville, Neighborhoods Department, Mosquito Control Division, will spray insecticide by aircraft for control of mosquitos within Duval County, Florida during 2024. Aircraft will be operated with the approval of and in compliance with the FAA. For more information call 630CITY or log onto www.jacksonville.gov, search word: “spraying” Apr. 4, May 2, Jun. 6, Jul. 11, Aug. 1, Sept. 5 co (24-02154D)

SECOND INSERTION

NOTICE OF RECEIPT FOR UNCLAIMED FUNDS HELD BY FIDUCIARY I, JODY PHILLIPS, Clerk of the Circuit Court of Duval County, Florida, do hereby acknowledge that I have this day received from the fiduciary named below, and deposited in the registry of said court, the sum specified below, upon representation of said fiduciary that said sum cannot be distributed or paid to the lawful owner by reason of inability to find the owner or claimant, or becuase no lawful owner or claimant is known to exist, or claimant refuses to accept such funds, the name of the lawful owner or claimant as represented by said fiduciary; being set forth below. Name and fiduciary capacity of fiduciary: NORTH FLORIDA OFFICE OF PUBLIC GUARDIAN, INC guardian of the property In RE: Guardianship of Marvin Taylor Deceased Ward File No: 16-2019-GA-002191 Division: PR-B Attorney : Karen P Campbell Sum received: $2,815.94* Lawful owner or claimant: Unknown Heirs of the Deceased Ward: Marvin Taylor * Remaing sum available for Ditribution after payment of clerk’s and publication fees: $2,701.20 Dated at Jacksonville, Duval County, Florida, this July 31, 2024. JODY PHILLIPS CLERK CIRCUIT COURT BY: Diana Irizarry Deputy Clerk Aug. 1, Sep. 5 co (24-04894D)

SECOND INSERTION

INVITATION TO BID TMT WEST PROPERTY CLEARING AND GRUBBING

TALLEYRAND MARINE TERMINAL

JAXPORT PROJECT NO.: T2020-01

JAXPORT CONTRACT NO.: C-1728RR

Sealed bids will be received by JAXPORT up to 2:00 PM (ET), local time, WEDNESDAY SEPTEMBER 25, 2024, at which time they shall be opened via ZOOM at: https://us02web.zoom.us/ j/83729043291?pwd=lguUbZpxUEPWJ8jQ85nBP2PaH6VGE2.1, Meeting ID: 837 2904 3291, Passcode: 689677 for TMT WEST PROPERTY CLEARING AND GRUBBING All bids must be submitted in accordance with specifications and drawings for Contract No. C-1728RR. IT IS MANDATORY THAT THE BIDDER SHALL ACKNOWLEDGE THE INCLUSION OF ALL ADDENDA ON THE BID FORM, FORM BF. ACKNOWLEDGEMENT SHALL BE MADE BY INITIALS AND DATE. FAILURE TO ACKNOWLEDGE ALL ADDENDA MAY RESULT IN REJECTION OF THE BID. PLEASE VISIT HTTPS:// WWW.JAXPORT.COM/PROCUREMENT/ACTIVE-SOLICITATIONS/ PRIOR TO THE BID OPENING TO DETERMINE IF ANY ADDENDA HAVE BEEN RELEASED ON THIS CONTRACT. A PRE-BID CONFERENCE WILL BE HELD ON TUESDAY, SEPTEMBER 10, 2024 AT 10:00 AM (ET), via ZOOM at: https://us02web.zoom. us/j/82684053727?pwd=W0xAWHXrFVr0vUjGkaMS5YUn6sLgFc.1, Meeting ID: 826 8405 3727, Passcode: 312366. A Site Visit is scheduled for TUESDAY, SEPTEMBER 10, 2024 at 2:00 PM (ET). ATTENDANCE BY A REPRESENTATIVE OF EACH PROSPECTIVE BIDDER IS ENCOURAGED. Bid and contract bonds are required. This project is funded by the JAXPORT and State of Florida. The DBE Participation Goal established for this project is Zero (0%), however, SEB participation is strongly encouraged. Aug. 29, Sep. 5 11 (24-05537D)

PUBLIC NOTICES

THIRD INSERTION

NOTICE OF SUSPENSION

To: Deonca Mitchner

Case: CD202402620/D 1924146

A Notice of Suspension to suspend your license and eligibility for licensure has been filed against you. You have the right to request a hearing pursuant to Sections 120.569 and 120.57, Florida Statutes, by mailing a request for same to the Florida Department of Agriculture and Consumer Services, Division of Licensing, Post Office Box 5708, Tallahassee, Florida 32314-5708. If a request for hearing is not received by 21 days from the date of the last publication, the right to hearing in this matter will be waived and the Department will dispose of this cause in accordance with law.

Aug. 22/29, Sep. 5/12 15 (24-05360D)

THIRD INSERTION

Notice

This notice is to inform the community that as of November 1, 2024 North Florida Reproductive Medicine, LLC d/b/a Florida Institute for Reproductive Medicine will be relocating their office from the 836 Prudential Drive, Suite 902 Jacksonville, Fl. to a new office located across the street at 841 Prudential Drive, Suite 260 Jacksonville, Fl. 32207. Our office hours will remain unchanged. The Medical Records will be relocated to the new location. As one of our patients, we hope that you will continue your medical care with us at our new location. However, should you decide to transfer your care to another physician, please contact us at 904-399-5620 regarding the transfer of your Medical Records to a physician of your choice. Aug. 22/29, Sep. 5/12 15 (24-05356D)

SECOND INSERTION

IN THE CIRCUIT COURT OF THE FOURTH JUDICIAL CIRCUIT IN AND FOR DUVAL COUNTY, FLORIDA CASE NO.: 16-2024-CA-002550

DIVISION: FC-H HEADLANDS RESIDENTIAL SERIES OWNER TRUST, SERIES G, Plaintiff, vs. UNKNOWN HEIRS, BENEFICIARIES, DEVISEES, ASSIGNEES, LIENORS, CREDITORS, TRUSTEES AND ALL OTHERS WHO MAY CLAIM AN INTEREST IN THE ESTATE OF MARY

E. STALLINGS A/K/A MARY

B. STALLINGS (DECEASED); ET AL., Defendants. NOTICE OF FORECLOSURE SALE NOTICE IS HEREBY GIVEN pursuant to the Final Judgment of Foreclosure, August 23, 2024, and entered in Case No. 16-2024CA-002550, of the Circuit Court of the 4th Judicial Circuit in and for Duval County, Florida, wherein HEADLANDS RESIDENTIAL SERIES OWNER TRUST, SERIES G is the Plaintiff and UNKNOWN HEIRS, BENEFICIARIES, DEVISEES, ASSIGNEES, LIENORS, CREDITORS, TRUSTEES AND ALL OTHERS WHO MAY CLAIM AN INTEREST IN THE ESTATE OF MARY E. STALLINGS A/K/A MARY B. STALLINGS (DECEASED), et al. is the Defendant. The Clerk of this Court shall sell to the highest and best bidder for cash electronically at: www.duval.realforeclose.com the Clerk’s website for online auctions at 11:00 a.m. on the 21st day of November, 2024, the following described property as set forth in said Final Judgment, to wit: LOT 7, BLOCK 1 AND TRACT B, FLORADALE

UNIT 9, ACCORDING TO THE MAP OR PLAT THEREOF, AS RECORDED IN PLAT BOOK 32, PAGE 46, OF THE PUBLIC RECORDS OF DUVAL COUNTY, FLORIDA. ANY PERSON CLAIMING AN INTEREST IN THE SURPLUS FROM THE SALE, IF ANY, OTHER THAN THE PROPERTY OWNER AS OF THE DATE OF THE LIS PENDENS MUST FILE A CLAIM BEFORE THE CLERK REPORTS THE SURPLUS AS UNCLAIMED. THE COURT, IN ITS DISCRETION, MAY ENLARGE THE TIME OF THE SALE. NOTICE OF THE CHANGED TIME OF SALE SHALL BE PUBLISHED AS PROVIDED HEREIN.

Americans With Disabilities Act (ADA) Notice In accordance with the Americans with Disabilities Act of 1990 (ADA), If you are a person with a disability who needs any accommodation in order to participate in this proceeding, you are entitled at no cost to you, to the provision of certain assistance. Please contact the ADA Coordinator at crtintrp@coj.net or (904) 2551695 at least 7 days before your scheduled court appearance, or immediately upon receiving this notification if the time before the scheduled appearance is less than 7 days; if you are hearing or voice impaired, call 711. Dated this 27th day of August, 2024.

JODY PHILLIPS Clerk of the Circuit Court By: Tonya Mooradian Deputy Clerk (Court Seal) Storey Law Group, P.A. 221 NE Ivanhoe Blvd., Suite 304 Orlando, FL 32803 sbaker@storeylawgroup.com

Attorneys for Plaintiff Aug. 29, Sep. 5 12 (24-05515D)

SECOND INSERTION

IN THE CIRCUIT COURT OF THE FOURTH JUDICIAL CIRCUIT IN AND FOR DUVAL COUNTY, FLORIDA GENERAL JURISDICTION

DIVISION CASE NO. 16-2023-CA-000607

DIVISION: FC-A

U.S. BANK NATIONAL ASSOCIATION, NOT IN ITS INDIVIDUAL CAPACITY BUT SOLELY IN ITS CAPACITY AS INDENTURE TRUSTEE OF CIM TRUST 2021NR3, Plaintiff, vs. THE UNKNOWN HEIRS, BENEFICIARIES, DEVISEES, GRANTEES, ASSIGNEES, LIENORS, CREDITORS, TRUSTEES AND ALL OTHERS WHO MAY CLAIM AN INTEREST IN THE ESTATE OF WILLIAM ROOS, DECEASED, et al. Defendant(s). NOTICE OF FORECLOSURE SALE NOTICE IS HEREBY GIVEN pursuant to a Final Judgment of Foreclosure dated July 22, 2024, and entered in 16-2023CA-000607 of the Circuit Court of the FOURTH Judicial Circuit in and for Duval County, Florida, wherein U.S. BANK TRUST COMPANY, NATIONAL ASSOCIATION, AS TRUSTEE, AS SUCCESSOR-IN-INTEREST TO U.S. BANK NATIONAL ASSOCIATION, NOT IN ITS INDIVIDUAL CAPACITY BUT SOLELY IN ITS CAPACITY AS INDENTURE TRUSTEE OF CIM TRUST 2021-NR3 is the Plaintiff and THE UNKNOWN HEIRS, BENEFICIARIES, DEVISEES, GRANTEES, ASSIGNEES, LIENORS, CREDITORS, TRUSTEES AND ALL OTHERS WHO MAY CLAIM AN INTEREST IN THE ESTATE OF WILLIAM ROOS, DECEASED; ANNA ROOS; WILLIAM J. ROOS, JR.; DARCY B. ROOS are the Defendant(s). Jody Phillips as the Clerk of the Circuit Court will sell to the highest and best bidder for cash at: www.duval.realforeclose.com at 11:00 AM, on September 23, 2024, the following described

SECOND INSERTION

IN THE CIRCUIT COURT, AND FOR DUVAL COUNTY, FLORIDA

PROBATE DIVISION CASE NO.: 16-2024-CP-002229

DIVISION: PR-B IN RE: THE ESTATE OF PAULA MOSES

Deceased.

NOTICE TO CREDITORS

The administration of the estate of Paula Moses, deceased, whose date of death was May 1, 2024, is pending in the Circuit Court for Duval County, Florida, Probate Division, the address of which is 501 West Adams Street, Room 1173, Jacksonville, Florida 32202. The names and addresses of the personal representative and the personal representative’s attorney are set forth below.

All creditors of the decedent and other persons having claims or demands against decedent’s estate on whom a copy of this notice is required to be served must file their claims with this court ON OR BEFORE THE LATER OF THREE (3) MONTHS AFTER THE TIME OF THE FIRST PUBLICATION OF THIS NOTICE OR THIRTY (30) DAYS AFTER THE DATE OF SERVICE OF A COPY OF THIS NOTICE ON THEM.

All other creditors of the decedent and other persons having claims or demands against decedent’s estate must file their claims with this court WITHIN THREE (3) MONTHS AFTER THE DATE OF THE FIRST PUBLICATION OF THIS NOTICE.

ALL CLAIMS NOT FILED WITHIN THE TIME PERIODS SET FORTH IN SECTION 733.702 OF THE FLORIDA PROBATE CODE WILL BE FOREVER BARRED. NOTWITHSTANDING THE TIME PERIODS SET FORTH ABOVE, ANY CLAIM FILED TWO (2) YEARS OR MORE AFTER THE DECEDENT’S DATE OF DEATH IS BARRED.

The personal representative has no duty to discover whether any property held at the time of the decedent’s death by the decedent or the decedent’s surviving spouse is property to which the Florida Uniform Disposition of Community Property Rights at Death Act as described in ss. 732.216732.228, Florida Statutes, applies, or may apply, unless a written demand is made by a creditor as specified under s. 732.2211, Florida Statutes.

The date of first publication of this Notice is August 29, 2024.

Personawl Representative: Garrett Moses 104 Adelphi Street, Apt. #141 Brooklyn, NY 11205

Attorney for Personal Representative: STEVEN L. ZAKROCKI, P.L. Steven L. Zakrocki

Florida Bar No. 55056

property as set forth in said Final Judgment, to wit: ALL THAT CERTAIN REAL ESTATE SITUATE IN THE COUNTY OF DUVAL, STATE OF FLORIDA, TO WIT: LOT 17, BLOCK 40, SOUTHSIDE ESTATES UNIT NO. 11, ACCORDING TO PLAT THEREOF AS RECORDED IN PLAT BOOK 20, PAGES 25 AND 25A, OF THE CURRENT PUBLIC RECORDS OF DUVAL COUNTY, FLORIDA. TAX MAP OR PARCEL ID NO.: 123983 0000

Property Address: 2524 PEACH DR, JACKSONVILLE, FL 32246

Any person claiming an interest in the surplus from the sale, if any, other than the property owner as of the date of the lis pendens must file a claim in accordance with Florida Statutes, Section 45.031. Americans With Disabilities Act (ADA) Notice In accordance with the Americans with Disabilities Act of 1990 (ADA), If you are a person with a disability who needs any accommodation in order to participate in this proceeding, you are entitled at no cost to you, to the provision of certain assistance. Please contact the ADA Coordinator at crtintrp@coj.net or (904) 2551695 at least 7 days before your scheduled court appearance, or immediately upon receiving this notification if the time before the scheduled appearance is less than 7 days; if you are hearing or voice impaired, call 711. Dated this 27th day of August, 2024.

JODY PHILLIPS As Clerk of the Court By: Tonya Mooradian As Deputy Clerk (Court Seal) Robertson, Anschutz, Schneid, Crane & Partners, PLLC Attorneys for Plaintiff 6409 Congress Ave., Suite 100, Boca Raton, FL 33487 Telephone: 561-241-6901 Fax: 561-997-6909 21-057843 - MaM Aug. 29, Sep. 5 12 (24-05514D)

SECOND INSERTION IN THE CIRCUIT COURT OF THE FOURTH JUDICIAL CIRCUIT, IN AND FOR DUVAL COUNTY, FLORIDA File No.: 16-2024-CP-001556

Division: PR-A IN RE: THE ESTATE OF JAMES SCHEIMAN, Deceased.

NOTICE TO CREDITORS

The administration of the estate of James Scheiman, deceased, whose date of death was November 21, 2023, is pending in the Circuit Court for Duval County, Florida, Probate Division, the address of which is 501 W Adams St, Jacksonville, FL 32202. The names and addresses of the Personal Representative and the Personal Representative’s attorney are set forth below.

All creditors of the decedent and other persons having claims or demands against decedent’s estate on whom a copy of this notice is required to be served must file their claims with this court ON OR BEFORE THE LATER OF 3 MONTHS AFTER THE TIME OF THE FIRST PUBLICATION OF THIS NOTICE OR 30 DAYS AFTER THE DATE OF SERVICE OF A COPY OF THIS NOTICE ON THEM.

All other creditors of the decedent and other persons having claims or demands against decedent’s estate must file their claims with this court WITHIN 3 MONTHS AFTER THE DATE OF THE FIRST PUBLICATION OF THIS NOTICE.

The Personal Representative has no duty to discover whether any property held at the time of the decedent’s death by the decedent or the decedent’s surviving spouse is property to which the Florida Uniform Disposition of Community Property Rights at Death Act as described in ss. 732-216732.228, applies, or may apply, unless a written demand is made by a creditor as specified under s. 732.2211.

ALL CLAIMS NOT FILED WITHIN THE TIME PERIODS SET FORTH IN FLORIDA STATUTES SECTION 733.702 WILL BE FOREVER BARRED. NOTWITHSTANDING THE TIME PERIODS SET FORTH ABOVE, ANY CLAIM FILED TWO (2) YEARS OR MORE AFTER THE DECEDENT’S DATE OF DEATH IS BARRED.

The date of first publication of this notice is August 29, 2024. Personal Representative: Joan Smithey 3362 Millcrest Drive Jacksonville, FL 32277

Attorney for Personal Representative: Hollyn J. Foster, Esq.

Florida Bar Number: 0020883

Bowers & Foster Elder Law, P. A. 6789 Southpoint Parkway, Suite 300 Jacksonville, FL 32216

Telephone: (904) 998-0724

1510 N. Ponce de Leon Blvd., Suite B St. Augustine, Florida 32084

Telephone: (904) 201-4149

Email: steve@zakrockilaw.com

Aug. 29, Sep. 5 12 (24-05530D)

IN THE CIRCUIT COURT OF THE FOURTH JUDICIAL CIRCUIT, IN AND FOR DUVAL COUNTY, FLORIDA CASE NO.: 16-2024-CP-002366

DIVISION: PR-A

IN RE: ESTATE OF HARVEY JOHN STEPHENS, Deceased.

NOTICE TO CREDITORS

The administration of the estate of Harvey John Stephens, deceased, whose date of death was May 08, 2024, is pending in the Circuit Court for Duval County, Florida, Probate Division, the address of which is 501 W. Adams Street, Jacksonville, FL 32202. The names and addresses of the petitioner and the petitioner’s attorney are set forth below.

All creditors of the decedent and other persons having claims or demands against decedent’s estate on whom a copy of this notice is required to be served must file their claims with this court WITHIN THE LATER OF 3 MONTHS AFTER THE TIME OF THE FIRST PUBLICATION OF THIS NOTICE OR 30 DAYS AFTER THE DATE OF SERVICE OF A COPY OF THIS NOTICE ON THEM.

All other creditors of the decedent and other persons having claims or demands against decedent’s estate must file their claims with this court WITHIN 3 MONTHS AFTER THE DATE OF THE FIRST PUBLICATION OF THIS NOTICE. ALL CLAIMS NOT FILED WITHIN THE TIME PERIODS SET FORTH IN SECTION 733.702 OF THE FLORIDA

SECOND INSERTION

IN THE CIRCUIT COURT FOR DUVAL COUNTY, FLORIDA PROBATE DIVISION

File No. 16-2024-CP-002472

Division PR-A IN RE: ESTATE OF MARY ANN MINCEY, Deceased. NOTICE TO CREDITORS

The administration of the estate of MARY ANN MINCEY, deceased, whose date of death was August 31, 2023, is pending in the Circuit Court for Duval County, Florida, Probate Division, the address of which is 501 W Adams Street, Jacksonville, FL 32202. The names and addresses of the personal representative and the personal representative’s attorney are set forth below. All creditors of the decedent and other persons having claims or demands against decedent’s estate, on whom a copy of this notice is required to be served, must file their claims with this court ON OR BEFORE THE LATER OF 3 MONTHS AFTER THE TIME OF THE FIRST PUBLICATION OF THIS NOTICE OR 30 DAYS AFTER THE DATE OF SERVICE OF A COPY OF THIS NOTICE ON THEM. All other creditors of the decedent and other persons having claims or demands against decedent’s estate must file their claims with this court WITHIN 3 MONTHS AFTER THE DATE OF THE FIRST PUBLICATION OF THIS NOTICE. ALL CLAIMS NOT FILED WITHIN THE TIME PERIODS SET FORTH IN FLORIDA STATUTES SECTION 733.702 WILL BE FOREVER BARRED.

NOTWITHSTANDING THE TIME PERIOD SET FORTH ABOVE, ANY CLAIM FILED TWO (2) YEARS OR MORE AFTER THE DECEDENT’S DATE OF DEATH IS BARRED. The personal representative has no duty to discover whether any property held at the time of the decedent’s death by the decedent or the decedent’s surviving spouse is property to which the Florida Uniform Disposition of Community Property Rights at Death Act as described in ss. 732.216732.228, Florida Statutes, applies, or may apply, unless a written demand is made by a creditor as specified under s. 732.2211, Florida Statutes.

The date of first publication of this Notice is August 29, 2024. Signed on this 28th day of August, 2024. TINA NEWSOM Personal Representative 8811 Teel Pkwy. Suite 100 #5407 Frisco, TX 75036

Edward P. Jackson Attorney for Personal Representative Florida Bar No. 286648

Fax: (904) 998-0732

E-Mail: hfoster@bowersfoster.com

Secondary E-Mail: mford@bowersfoster.com Aug. 29, Sep. 5 12 (24-05535D)

PROBATE CODE WILL BE FOREVER BARRED. NOTWITHSTANDING THE TIME PERIODS SET FORTH ABOVE, ANY CLAIM FILED TWO (2) YEARS OR MORE AFTER THE DECEDENT’S DATE OF DEATH IS BARRED.

The personal representative has no duty to discover whether any property held at the time of the decedent’s death by the decedent or the decedent’s surviving spouse is property to which the Florida Uniform Disposition of Community Property Rights at Death Act as described in ss. 732.216732.228, Florida Statutes, applies, or may apply, unless a written demand is made by a creditor as specified under s. 732.2211, Florida Statutes.

The date of first publication of this Notice is August 29, 2024. Petitioner: John Holler 13338 Long Cypress Trail Jacksonville, Florida 32223

Attorney for Petitioner: THE DEVRIES LAW FIRM, P.A. /S/ Shawn A. DeVries, Esq. Shawn A. DeVries, Esquire Florida Bar Number: 99379 shawn@devrieslegal.com Joseph Scone, Esquire Florida Bar Number: 107404 attorney@devrieslegal.com Joshua Tyson, Esquire Florida Bar Number: 104222 josh@devrieslegal.com 644 Cesery Blvd,Suite 250 Jacksonville, Florida 32211

Telephone: (904) 770-4333

Facsimile: (904) 517-8060 Aug. 29, Sep. 5 12 (24-05534D)

IN THE CIRCUIT COURT OF THE FOURTH JUDICIAL CIRCUIT, IN AND FOR DUVAL COUNTY, FLORIDA File No.: 16-2024-CP-001945

Division: PR-B IN RE: THE ESTATE OF LYDIA MAHAN, Deceased. NOTICE TO CREDITORS

Edward P. Jackson, P.A. 255 N. Liberty St Jacksonville, Florida 32202 Telephone: 904-358-1952

Email: edward@edwardpjackson.com Aug. 29, Sep. 5 12 (24-05528D)

IN THE CIRCUIT COURT FOR DUVAL COUNTY, FLORIDA PROBATE DIVISION FILE NO: 16-2024-CP-002457

DIVISION: PR-B IN RE: ESTATE OF MAURICE RODD MOSLEY, Deceased. NOTICE TO CREDITORS

The administration of the estate of Maurice Rodd Mosley, deceased, who was found on March 18, 2024, is pending in the Circuit Court for Duval County, Florida, Probate Division, the address of which is 501 W. Adams Street, Jacksonville, FL 32202. The names and addresses of the personal representative and the personal representative’s attorneys are set forth below. All creditors of the decedent and other persons having claims or demands against decedent’s estate on whom a copy of this notice is required to be served must file their claims with this court WITHIN THE LATER OF 3 MONTHS AFTER THE TIME OF THE FIRST PUBLICATION OF THIS NOTICE OR 30 DAYS AFTER THE DATE OF SERVICE OF A COPY OF THIS NOTICE ON THEM. All other creditors of the decedent and other persons having claims or demands against decedent’s estate must file their claims with this court WITHIN

3 MONTHS AFTER THE DATE OF THE FIRST PUBLICATION OF THIS NOTICE. ALL CLAIMS NOT FILED

The administration of the estate of Lydia Mahan, deceased, whose date of death was March 6, 2024, is pending in the Circuit Court for Duval County, Florida, Probate Division, the address of which is 501 W Adams St, Jacksonville, FL 32202. The names and addresses of the Personal Representative and the Personal Representative’s attorney are set forth below. All creditors of the decedent and other persons having claims or demands against decedent’s estate on whom a copy of this notice is required to be served must file their claims with this court ON OR BEFORE THE LATER OF 3 MONTHS AFTER THE TIME OF THE FIRST PUBLICATION OF THIS NOTICE OR 30 DAYS AFTER THE DATE OF SERVICE OF A COPY OF THIS NOTICE ON THEM. All other creditors of the decedent and other persons having claims or demands against decedent’s estate must file their claims with this court WITHIN 3 MONTHS AFTER THE DATE OF THE FIRST PUBLICATION OF THIS NOTICE. The Personal Representative has no duty to discover whether any property held at the time of the decedent’s death by the decedent or the decedent’s surviving spouse is property to which the Florida Uniform Disposition of Community Property Rights at Death Act as described in ss. 732-216732.228, applies, or may apply, unless a written demand is made by a creditor as specified under s. 732.2211. ALL CLAIMS NOT FILED WITHIN THE TIME PERIODS SET FORTH IN FLORIDA STATUTES SECTION 733.702 WILL BE FOREVER BARRED. NOTWITHSTANDING THE TIME PERIODS SET FORTH ABOVE, ANY CLAIM FILED TWO (2) YEARS OR MORE AFTER THE DECEDENT’S DATE OF DEATH IS BARRED. The date of first publication of this notice is August 29, 2024. Personal Representative: Monica Tsai 11857 Junegrass Road Jacksonville, FL 32258 Attorney for Personal Representative: Hollyn J. Foster, Esq. Florida Bar Number: 0020883 Bowers & Foster Elder Law, P. A. 6789 Southpoint Parkway, Suite 300 Jacksonville, FL 32216 Telephone: (904) 998-0724 Fax: (904) 998-0732 E-Mail: hfoster@bowersfoster.com Secondary E-Mail: mford@bowersfoster.com Aug. 29, Sep. 5 12 (24-05532D)

WITHIN THE TIME PERIODS SET FORTH IN SECTION 733.702 OF THE FLORIDA PROBATE CODE WILL BE FOREVER BARRED. NOTWITHSTANDING THE TIME PERIODS SET FORTH ABOVE, ANY CLAIM FILED TWO (2) YEARS OR MORE AFTER THE DECEDENT’S DATE OF DEATH IS BARRED. A personal representative or curator has no duty to discover whether any property held at the time of the decedent’s death by the decedent or the decedent’s surviving spouse is property to which the Florida Uniform Disposition of Community Property Rights at Death Act as described in sections 732.216-732.228, applies, or may apply, unless a written demand is made by a creditor as specified under section 732.2211 The date of first publication of this notice is August 29, 2024. Personal Representative: Jeanette Lynn Gwynn 12364 Shell Beach Trail Jacksonville, FL 32246

Attorneys for Personal Representative: Max Story, Esquire

U.S. Sen. Marco Rubio

Jacksonville Office

Bryan Simpson U.S. Courthouse

300 North Hogan St., Suite # 8-111 Jacksonville, FL 32202 (904) 354-4300

Washington, DC Office

284 Russell Senate Office Building Washington DC 20510 (202) 224-3041 rubio.senate.gov

KNOW YOUR LAWMAKERS

U.S. Sen. Rick Scott

Jacksonville Office

400 West Bay St., Suite 289 Jacksonville, FL 32202 (904) 479-7227

Washington, DC Office 502 Hart Senate Office Building

Washington DC 20510 (202) 224-5274 rickscott.senate.gov

U.S. Rep. Katherine “Kat” Cammack 3RD CONGRESSIONAL DISTRICT OF FLORIDA

Gainesville District Office 5550 111th NW Blvd. Gainesville, FL 32653 (352) 505-0838

Washington, DC Office 1626 Longworth House Office Building Washington, DC 20515 (202) 225-5744 Cammack.house.gov

U.S. Rep. Aaron Bean 4TH CONGRESSIONAL

DISTRICT OF FLORIDA

Jacksonville District Office 117 W. Duval St., #230 Jacksonville, FL 32202

Washington, DC Office 1239 Longworth House Office Building

Washington, DC 20515 (202) 225-0123 Bean.house.gov

DUVAL COUNTY DELEGATION

117 W. Duval St., Ste. 240, Jacksonville, FL 32202, (904) 255-5105

State Sen. Clay Yarborough, District 4 Counties: Nassau and part of Duval

DISTRICT OFFICE

1615 Huffingham Road, Suite 1, Jacksonville, FL 32216-2792 (904) 723-5300

State Sen. Tracie Davis, District 5 Counties: Part of Duval

DISTRICT OFFICE

2933 North Myrtle Ave., Suite 201 Jacksonville, FL 32209 (904) 359-2575

State Rep. Wyman Duggan, District 12 Counties: Duval

DISTRICT OFFICE

4070 Herschel Street, Unit 6, Jacksonville, FL 32210-2239 (904) 381-6011

State Rep. Angela “Angie” Nixon, District 13 Counties: Duval

DISTRICT OFFICE

3939 Roosevelt Blvd., Suite G-121 Jacksonville, FL 32205-8949 (904) 381-6013

State Rep. Kimberly Daniels, District 14 Counties: Duval

DISTRICT OFFICE 1224 Beaver St. West, Suite 104 Jacksonville, FL 32204-1415 (904) 359-2533

945 N. Temple Ave., Starke, FL 32091 (904) 966-6215

State Sen. Jennifer Bradley, District 6 Counties: Baker, Bradford, Clay, Columbia, Gilchrist, Union and Alachua DISTRICT OFFICE

1845 East West Parkway, Unit 5, Fleming Island, FL 32003 (904) 278-2085

U.S. Rep. John H. Rutherford 5TH CONGRESSIONAL DISTRICT OF FLORIDA Jacksonville District Office 4130 Salisbury Road Suite 2500 Jacksonville, FL 32216 (904) 831-5205

Washington, DC Office 1711 Longworth House Office Building Washington, DC 20515 (202) 225-2501 rutherford.house.gov

State Rep. Dean Black, District 15 Counties: Duval and Nassau

CAPITOL OFFICE

402 South Monroe Street

Tallahassee, FL 32399-1300 (850) 717-5015

State Rep. Kiyan Michael, District 16 Counties: Duval

DISTRICT OFFICE

421 Third Street North Jacksonville Beach, FL 32250-7028 (904) 242-3495

State Rep. Jessica Baker, District 17 Counties: Duval

CAPITOL OFFICE

402 South Monroe Street

Tallahassee, FL 32399-1300 (850) 717-5017

State Rep. Sam Garrison, District 11 Counties: Clay DISTRICT OFFICE 1835 East West Parkway, Suite 18, Fleming Island, FL 32003-5311 (904) 278-2062

309 Kingley Lake Dr., Ste. 902, St. Augustine, FL 32092 (904) 823-2300

State Sen. Travis Hutson, District 7 Counties: Flagler, Putnam, St. Johns and Volusia

DISTRICT OFFICE

4875 Palm Coast Parkway, NW, Suite 5, Palm Coast, FL 32137 (386) 446-7610

State Rep. Bobby Payne, District 20 Counties: Putnam and parts of Clay, Marion and St. Johns

DISTRICT OFFICE 3841 Reid Street, Palatka, FL 32177-2509 (386) 312-2272

State Rep. Paul Renner, District 19 Counties: Flagler and part of St. Johns

DISTRICT OFFICE 4877 Palm Coast Parkway Northwest, Suite 1, Palm Coast, FL 32137-3677 (386) 446-7644

State Rep. Cyndi Stevenson, District 18 Counties: St. Johns

DISTRICT OFFICE

309 Kingsley Lake Drive, Suite 902, St. Augustine, FL 32092-3048 (904) 823-2300

State Rep. Bobby Payne, District 20 Counties: Putnam and parts of Clay, Marion and St. Johns

DISTRICT OFFICE

3841 Reid Street, Palatka, FL 32177-2509 (386) 312-2272

SECOND INSERTION

NOTICE OF SUSPENSION

To: Hope L. Malcolm Case: CD202403682/D 3325694

A Notice of Suspension to suspend your license and eligibility for licensure has been filed against you. You have the right to request a hearing pursuant to Sections 120.569 and 120.57, Florida Statutes, by mailing a request for same to the Florida Department of Agriculture and Consumer Services, Division of Licensing, Post Office Box 5708, Tallahassee, Florida 32314-5708. If a request for hearing is not received by 21 days from the date of the last publication, the right to hearing in this matter will be waived and the Department will dispose of this cause in accordance with law.

Aug. 29, Sep. 5/12/19 13 (24-05508D)

SECOND INSERTION

Auction of General Household & Commercial Goods Argyle Forest Self Storage 6648 Youngerman Circle Jacksonville FL 32244 (904)771-1600 Monday September 23, 2024 @10AM Florida Statute #83.806, JMA Auctioneers, Inc. AB2314, AU1139 Terms of Sale: Cash, 15% Buyer Premium Robert Maldonado 12, Robert Maldonado 16, Michael Burnett 56, Ola Oseni 73, Jalessa Demia Young A104, Eric Anderson A202, Rodricka Stewart A205, Richard Shoening A212, Cheryl Yant A307, Chiquita Hewlett A324, Dominique Richardson A407, Jennifer Lewis A415, Karen Culpepper A418, , Monica Kohn A422, Erica M. Hodges A424, Natalia Kohn A426, Ronique Ferguson A430, Joyce Garretson A434, Andi Stowers A503, Lisa Kimmons A511, James Register A514, Jarvis Hines A523, Trazarra Sweet A529, Walter Freeman III A532, Denise Williams B109, Stacey B Thompkins C023, Nadette Alfonso C035, Debra Hines C036, Chris Williams C063, Krystal Lee Szyoerski C067, Mike Reed C106, Melissa Hines C142 ,Ashley Wilson C172, Emanuel Waynns C204, Paula Wynn D111, Myrna Jad E110, Reggie Kohn E122, Reggie Kohn F119, Reggie Kohn F120, Michael Brown G106, Christina Waters G108, Aria Lawson G306, Chris Williams H112, Blaine Isom H206, Danielle Swatt H208, Tia Segers H309, Brittany Rawls H401, Chakenya Pinkney H407, Roy Stevens H516, Toby Cook I116, Nora Wangerin I120, Lafaryn Jones Abdullah I209, Jeffrey Rust J116 Aug. 29, Sep. 5/12/19 13 (24-05471D)

SECOND INSERTION

IN THE CIRCUIT COURT, FOURTH JUDICIAL CIRCUIT, IN AND FOR DUVAL COUNTY, FLORIDA

CASE NO.: 16-2024-DR-010366

DIVISION: FM-G IN RE: THE MATTER OF: CLAYTON S. MALINIT, Petitioner, and CARLA R. GRADY, Respondent. NOTICE OF ACTION FOR PUBLICATION

TO: CARLA R. GRADY 1778 Riverview Drive Jacksonville, Florida, 32224

YOU ARE NOTIFIED that a Petition to Establish Paternity has been filed against you and that you are required to serve a copy of your written defenses, if any, to it on Elaina S. Miller, Esq., whose address is 126 W. Adams Street, Jacksonville, FL 32202 and whose email address is Elaina. Miller@JaxLegalAid.org on or before October 12, 2024, and file the original with the clerk of this Court at 501 W. Adams Street, Jacksonville, FL 32202, before service on Petitioner’s Attorney or immediately thereafter. If you fail to do so, a default may be entered against you for the relief demanded in the petition.

Copies of all court documents in this case, including orders, are available at the Clerk of the Circuit Court’s office. You may review these documents upon request. You must keep the Clerk of the Circuit Court’s office notified of your current address. (You may file Designation of Current Mailing and E-Mail Address, Florida Supreme Court Approved Family Law Form 12.915.) Future papers in this lawsuit will be mailed or emailed to the addresses on record at the clerk’s office.

WARNING: Rule 12.285, Florida Family Law Rules of Procedure, requires certain automatic disclosure of documents and information. Failure to comply can result in sanctions, including dismissal or striking of pleadings.

Dated: August 28, 2024

JODY PHILLIPS

CLERK OF THE CIRCUIT COURT

By: Maxine Jefferson Deputy Clerk (Court Seal) Aug. 29, Sep. 5/12/19 13 (24-05541D)

SECOND INSERTION

NOTICE OF ADMINISTRATIVE COMPLAINT

To: Conde W. Horta Case: CD202402950/G 3002814

An Administrative Complaint to suspend your license and eligibility for licensure has been filed against you. You have the right to request a hearing pursuant to Sections 120.569 and 120.57, Florida Statutes, by mailing a request for same to the Florida Department of Agriculture and Consumer Services, Division of Licensing, Post Office Box 5708 Tallahassee, Florida 32314-5708. If a request for hearing is not received by 21 days from the date of the last publication, the right to hearing in this matter will be waived and the Department will dispose of this cause in accordance with law. Aug. 29, Sep. 5/12/19 13 (24-05507D)

SECOND INSERTION

Auction of General Household & Commercial Goods Town Center Storage 12 NoonMonday September 23, 2024 Trevouris Owens #1005, Frances Mary Ortiz #1057, Brandy Harvey #1078, Tiffany Dent #1131, Juanita Adeeyo #12, Brianna Glover #132, Gail Scruggins #133, Dineen Wolfersheim #138, Living Truth Ministry Churches Intl inc #144, Kisya Johnson #145, Priscilla Hill #155, Crystal Francis #16, Cynthia West-Randall #163, Living Truth Ministry Churches Intl inc #2013, Living Truth Ministry Churches Intl inc #2014, Royce Brown #2033, Edison Torres #2039, David Lofton #205, Austin Light #2054, Xyreah Pearson #2062, Margaret Mbabazi #2079, Tsianina Smith #2134, Erick Bwenge #2180, David Lofton #221, Eric Corsey #243, Erica Pinkney #3003, Qiauna McCraney #3072, Gwendolyn Croom #3079, Gretchenell Hendrix #3116, Yesmin Mcqueen #3137, Akilah Bell #3154, Maria Ruiz #3187, Carol Damron #3189, Tionna Autery #3209, Renee Churchwell #3214, Najee Williams #3217, Brian Shervington #3256, Kristina Teachey #64, Brianna Glover #79, Mary Peters #91, Virginia Swanson #98 Florida Statute #83.806, JMA Auctioneers, Inc. AB2314, AU1139 Terms of Sale: Cash, 15% Buyer Premium Aug. 29 Sep. 5/12/19 13 (24-05472D)

SECOND INSERTION

IN THE CIRCUIT COURT OF THE FOURTH JUDICIAL CIRCUIT, IN AND FOR DUVAL COUNTY, FLORIDA CASE NO.: 16-2024-DR-010102

Division: FM-C Sherell Coleman, Petitioner, and Thomir Gilbert, Respondent, NOTICE OF ACTION FOR MINOR NAME CHANGE TAHRELL GILBERT TO: Thomir Gilbert 6317 Kimberly Ln. Jacksonville, FL 32210

YOU ARE NOTIFIED that an action for Minor Name Change has been filed against you and that you are required to serve a copy of your written defenses, if any, on Sherell Coleman whose address is 5620 Collins Rd., #1316, Jacksonville, FL 32244, on or before October 14, 2024, and file the original with the clerk of this Court at 501 W. Adams St., Jacksonville, Florida 32202, before service on Petitioner or immediately thereafter. If you fail to do so, a default may be entered against you for the relief demanded in the petition.

The action is asking the court to decide how the following real or personal property should be divided: None

Copies of all court documents in this case, including orders, are available at the Clerk of the Circuit Court’s office. You may review these documents upon request. You must keep the Clerk of the Circuit Court’s office notified of your current address. (You may file Notice of Current Mailing and E-mail Address, Florida Supreme Court Approved Family Law Form 12.915). Future papers in this lawsuit will be mailed to the address on record at the clerk’s office.

WARNING: Rule 12.285, Florida Family Law Rules of Procedure, requires certain automatic disclosure of documents and information. Failure to comply can result in sanctions, including dismissal or striking of pleadings. Dated August 28, 2024 JODY PHILLIPS, CLERK OF THE CIRCUIT COURT

By: Octavia Talton Deputy Clerk (Court Seal) Aug. 29, Sep. 5/12/19 13 (24-05540D)

SECOND INSERTION

IN THE CIRCUIT COURT OF THE 4TH JUDICIAL CIRCUIT IN AND FOR DUVAL COUNTY CASE NO. 16-2023-DP-423-A

DIVISION: JV-B IN THE INTEREST OF: K.S. DOB: 11/2/2023 MINOR CHILD

NOTICE OF ACTION TERMINATION OF PARENTAL RIGHTS

TO: Marilyn Perkins, Address Unknown

YOU ARE HEREBY NOTIFIED that the State of Florida, Department of Children and Families, has filed a Petition to terminate your parental rights and permanently commit the following child for adoption: K.S. born on 11/2/2023. You are hereby commanded to appear on Monday, October 7, 2024, at 1:00 PM before the Honorable Michael Kalil at the Duval Courthouse, 501 W Adams Street Courtroom 204 Jacksonville, FL 32202, for an ADVISORY HEARING.

FAILURE TO PERSONALLY APPEAR AT THIS ADVISORY HEARING CONSTITUTES CONSENT TO THE TERMINATION OF PARENTAL RIGHTS OF THIS CHILD (OR CHILDREN). IF YOU FAIL TO APPEAR ON THE DATE AND TIME SPECIFIED, YOU MAY LOSE ALL LEGAL RIGHTS AS A PARENT TO THE CHILD OR CHILDREN NAMED IN THIS NOTICE.

1. If you are a person with a disability who needs any accommodation in order to participate in this proceeding, you are entitled, at no cost to you, to the provision of certain assistance. Please contact the ADA Coordinator at (904) 255-1695 or crtintrp@coj.net at least 7 days before your scheduled court appearance, or immediately upon receiving this notification if the time before the scheduled appearance is less than 7 days; if you are hearing or voice impaired, call 711.

WITNESS, my hand as Clerk of said Court and the Seal thereof, this August 27, 2024.

JODY PHILLIPS, as Clerk of Court By: Le My Le As Deputy Clerk (Court Seal) Aug. 29, Sep. 5/12/19 13 (24-05506D)

SECOND INSERTION

IN THE COUNTY COURT, FOURTH JUDICIAL CIRCUIT, IN AND FOR DUVAL COUNT, FLORIDA CASE NO.: 16-2024-CC-006426 DIVISION: CC-A 121 FINANCIAL CREDIT UNION, Plaintiff, vs. VANESSA FELTON AKA VANESSA DELOVE FELTON, Defendant. NOTICE OF ACTION

To the following Defendant: Vanessa Felton Aka Vanessa Delove Felton 5649 Bennington Dr Jacksonville, FL 32244-2149 OR Whose residence is unknown YOU ARE HEREBY NOTIFIED that an action for damages has been filed against you and you are required to serve a copy of your written defenses, if any, to it on Jimerson Birr, P.A. whose address is One Independent Drive, Suite 1400, Jacksonville, Florida 32202, and file the original with the Clerk of the abovestyled Court on or before thirty (30) days from the first publication, otherwise a Judgment may be entered against you for the relief demanded in the Complaint. Americans With Disabilities Act (ADA) Notice In accordance with the Americans with Disabilities Act of 1990 (ADA), If you are a person with a disability who needs any accommodation in order to participate in this proceeding, you are entitled, at no cost to you, to the provision of certain assistance. Please contact the ADA Coordinator at (904) 255-1695 or crtintrp@coj.net at least 7 days before your scheduled court appearance, or immediately upon receiving this notification if the time before the scheduled appearance is less than 7 days; if you are hearing or voice impaired, call 711. WITNESS my hand and the seal of this Court this 27th day of August, 2024. JODY PHILLIPS Clerk of the Circuit Court Duval County, Florida As Clerk of the Court by: By: Mary Ninos As Deputy Clerk (Court Seal) Aug. 29, Sep. 5/12/19 13 (24-05510D)

SECOND INSERTION IN THE COUNTY COURT, FOURTH JUDICIAL CIRCUIT, IN AND FOR DUVAL COUNTY, FLORIDA

CASE NO.: 16-2024-CC-007145

DIVISION: CC-B 121 FINANCIAL CREDIT UNION, Plaintiff, vs. ASHLEYS BOUTIQUE, LLC, Defendant.. NOTICE OF ACTION

To the following Defendant: Ashleys Boutique, Llc 1463 W 6th St Apt 1 Jacksonville, FL 32209-6296 OR Whose residence is unknown YOU ARE HEREBY NOTIFIED that an action for damages has been filed against you and you are required to serve a copy of your written defenses, if any, to it on Jimerson Birr, P.A. whose address is One Independent Drive, Suite 1400, Jacksonville, Florida 32202, and file the original with the Clerk of the abovestyled Court on or before thirty (30) days from the first publication, otherwise a Judgment may be entered against you for the relief demanded in the Complaint. Americans With Disabilities Act (ADA) Notice In accordance with the Americans with Disabilities Act of 1990 (ADA), If you are a person with a disability who needs any accommodation in order to participate in this proceeding, you are entitled, at no cost to you, to the provision of certain assistance. Please contact the ADA Coordinator at (904) 255-1695 or crtintrp@coj.net at least 7 days before your scheduled court appearance, or immediately upon receiving this notification if the time before the scheduled appearance is less than 7 days; if you are hearing or voice impaired, call 711. WITNESS my hand and the seal of this Court this 23rd day of August, 2024.

JODY PHILLIPS Clerk of the Circuit Court Duval County, Florida As Clerk of the Court by: By: N’Colas Burton As Deputy Clerk (Court Seal) Aug. 29, Sep. 5/12/19 13 (24-05473D)

SECOND INSERTION IN THE CIRCUIT COURT, FOURTH JUDICIAL CIRCUIT, IN AND FOR DUVAL COUNTY, FLORIDA

CASE NO.: 16-2024-CC-006046

DIVISION: CC-P 121 FINANCIAL CREDIT UNION, Plaintiff, vs. ADAM P SHOCKEY, Defendant. NOTICE OF ACTION

To the following Defendant: Adam P Shockey 22 Comares Ave Unit 1b St Augustine, FL 32080-3764 OR Whose residence is unknown YOU ARE HEREBY NOTIFIED that an action for damages has been filed against you and you are required to serve a copy of your written defenses, if any, to it on Jimerson Birr, P.A. whose address is One Independent Drive, Suite 1400, Jacksonville, Florida 32202, and file the original with the Clerk of the abovestyled Court on or before thirty (30) days from the first publication, otherwise a Judgment may be entered against you for the relief demanded in the Complaint. Americans With Disabilities Act (ADA) Notice

In accordance with the Americans with Disabilities Act of 1990 (ADA), If you are a person with a disability who needs any accommodation in order to participate in this proceeding, you are entitled, at no cost to you, to the provision of certain assistance. Please contact the ADA Coordinator at (904) 255-1695 or crtintrp@coj.net at least 7 days before your scheduled court appearance, or immediately upon receiving this notification if the time before the scheduled appearance is less than 7 days; if you are hearing or voice impaired, call 711. WITNESS my hand and the seal of this Court this 22nd day of August, 2024. JODY PHILLIPS

Clerk of the Circuit Court Duval County, Florida As Clerk of the Court by: By: Shelby Asay As Deputy Clerk (Court Seal) Aug. 29, Sep. 5/12/19 13 (24-05448D)

SECOND INSERTION

IN THE COUNTY COURT, FOURTH JUDICIAL CIRCUIT, IN AND FOR DUVAL COUNTY, FLORIDA CASE NO.: 16-2024-CC-007608

DIVISION: CC-K VYSTAR CREDIT UNION, Plaintiff, vs. ADRIAN D. WILSON, Defendant. NOTICE OF ACTION To the following Defendant: Adrian D. Wilson 1116 Easy St Jacksonville, FL 32218-4838 OR Whose residence is unknown YOU ARE HEREBY NOTIFIED that an action for damages has been filed against you and you are required to serve a copy of your written defenses, if any, to it on Jimerson Birr, P.A. whose address is One Independent Drive, Suite 1400, Jacksonville, Florida 32202, and file the original with the Clerk of the abovestyled Court on or before thirty (30) days from the first publication, otherwise a Judgment may be entered against you for the relief demanded in the Complaint. Americans With Disabilities Act (ADA) Notice In accordance with the Americans with Disabilities Act of 1990 (ADA), If you are a person with a disability who needs any accommodation in order to participate in this proceeding, you are entitled, at no cost to you, to the provision of certain assistance. Please contact the ADA Coordinator at (904) 255-1695 or crtintrp@coj.net at least 7 days before your scheduled court appearance, or immediately upon receiving this notification if the time before the scheduled appearance is less than 7 days; if you are hearing or voice impaired, call 711. WITNESS my hand and the seal of this Court this 23rd day of August, 2024. JODY PHILLIPS Clerk of the Circuit Court Duval County, Florida As Clerk of the Court by: By: N’Colas Burton As Deputy Clerk (Court Seal) Aug. 29, Sep. 5/12/19 13 (24-05474D)

SECOND INSERTION IN THE CIRCUIT COURT OF THE 4TH JUDICIAL CIRCUIT IN AND FOR DUVAL COUNTY CASE NO. 16-2023-DP-372-A

DIVISION: JV-D IN THE INTEREST OF: R.D. DOB: 12/23/2022 MINOR CHILD NOTICE OF ACTION TERMINATION OF PARENTAL RIGHTS TO: Joshua Francisco, address unknown YOU ARE HEREBY NOTIFIED that the State of Florida, Department of Children and Families, has filed a Petition to terminate your parental rights and permanently commit the following child for adoption: R.D. born on 12/23/2022. You are hereby commanded to appear on Monday, September 30, 2024, at 1:00 PM before the Honorable W. Collins Cooper at the Duval Courthouse, 501 W Adams Street Courtroom 202 Jacksonville, FL 32202, for an ADVISORY HEARING.

FAILURE TO PERSONALLY APPEAR AT THIS ADVISORY HEARING CONSTITUTES CONSENT TO THE TERMINATION OF PARENTAL RIGHTS OF THIS CHILD (OR CHILDREN). IF YOU FAIL TO APPEAR ON THE DATE AND TIME SPECIFIED, YOU MAY LOSE ALL LEGAL RIGHTS AS A PARENT TO THE CHILD OR CHILDREN NAMED IN THIS NOTICE.

If you are a person with a disability who needs any accommodation in order to participate in this proceeding, you are entitled, at no cost to you, to the provision of certain assistance. Please contact the ADA Coordinator at (904) 255-1695 or crtintrp@coj.net at least 7 days before your scheduled court appearance, or immediately upon receiving this notification if the time before the scheduled appearance is less than 7 days; if you are hearing or voice impaired, call 711. WITNESS, my hand as Clerk of said Court and the Seal thereof, this August 23, 2024.

JODY PHILLIPS, as Clerk of Court

By: Le My Le As Deputy Clerk (Court Seal) Aug. 29, Sep. 5/12/19 13 (24-05466D)

SECOND INSERTION IN THE COUNTY COURT, FOURTH JUDICIAL CIRCUIT, IN AND FOR DUVAL COUNTY, FLORIDA CASE NO.: 16-2024-CC-005748

DIVISION: CC-P 121 FINANCIAL CREDIT UNION, Plaintiff, vs. DAVID H DIXON II, Defendant. NOTICE OF ACTION To the following Defendant: David H Dixon II 1616 W 20th St Apt 2 Jacksonville, FL 32209-4874 OR Whose residence is unknown YOU ARE HEREBY NOTIFIED that an action for damages has been filed against you and you are required to serve a copy of your written defenses, if any, to it on Jimerson Birr, P.A. whose address is One Independent Drive, Suite 1400, Jacksonville, Florida 32202, and file the original with the Clerk of the abovestyled Court on or before thirty (30) days from the first publication, otherwise a Judgment may be entered against you for the relief demanded in the Complaint. Americans With Disabilities Act (ADA) Notice In accordance with the Americans with Disabilities Act of 1990 (ADA), If you are a person with a disability who needs any accommodation in order to participate in this proceeding, you are entitled, at no cost to you, to the provision of certain assistance. Please contact the ADA Coordinator at (904) 255-1695 or crtintrp@coj.net at least 7 days before your scheduled court appearance, or immediately upon receiving this notification if the time before the scheduled appearance is less than 7 days; if you are hearing or voice impaired, call 711. WITNESS my hand and the seal of this Court this 23rd day of August, 2024.

JODY PHILLIPS Clerk of the Circuit Court Duval County, Florida As Clerk of the Court by: By: N’Colas Burton As Deputy Clerk (Court Seal) Aug. 29, Sep. 5/12/19 13 (24-05491D)

SECOND INSERTION IN THE CIRCUIT COURT, FOURTH JUDICIAL CIRCUIT, IN AND FOR DUVAL COUNTY, FLORIDA CASE NO.: 16-2013-DR-010013-FM DIVISION: FM-C IN RE: THE FORMER MARRIAGE OF ANTHONY PALMER, Former Husband, and ASHLEY PALMER, Former Wife. NOTICE OF ACTION FOR MODIFICATION OF FINAL JUDGMENT TO: ANTHONY PALMER 760 Eayrestown Road, Apt A16-5 Lumberton, NJ 08048 YOU ARE NOTIFIED that an action for modification of Final Judgment has been filed against you and that you are required to serve a copy of your written defenses, if any, to it on Ashley Palmer c/o Diana S. Farhat, Esquire, whose address is 1734 Kingsley Avenue, Suite 8, Orange Park, Florida 32073, on or before October 7, 2024, and file the original with the clerk of this Court at 501 W. Adams Street, Jacksonville, Florida 32202, before service on Petitioner or immediately thereafter. If you fail to do so, a default may be entered against you for the relief demanded in the petition. Copies of all court documents in this case, including orders, are available at the Clerk of the Circuit Court’s office. You may review these documents upon request. You must keep the Clerk of the Circuit Court’s office notified of your current address. (You may file Designation of Current Mailing and E-Mail Address, Florida Supreme Court Approved Family Law Form 12.915.) Future papers in this lawsuit will be mailed or e-mailed to the addresses on record at the clerk’s office.

WARNING: Rule 12.285, Florida Family Law Rules of Procedure, requires certain automatic disclosure of documents and information. Failure to comply can result in sanctions, including dismissal or striking of pleadings.

Dated: August 23, 2024 JODY PHILLIPS, CLERK OF THE CIRCUIT COURT By: L.D. Watson Deputy Clerk (Court Seal) Aug. 29 Sep. 5/12/19 13 (24-05499D)

IN THE CIRCUIT COURT OF THE FOURTH JUDICIAL CIRCUIT IN AND FOR DUVAL COUNTY, FLORIDA GENERAL JURISDICTION

DIVISION CASE NO. 16-2023-CA-009928

DIVISION: FC-H

U.S. BANK TRUST NATIONAL ASSOCIATION, NOT IN ITS INDIVIDUAL CAPACITY BUT SOLELY AS OWNER TRUSTEE FOR RCF 2 ACQUISITION TRUST, Plaintiff, vs. JOHNIE SINGLETON, et al. Defendant(s). NOTICE OF FORECLOSURE SALE NOTICE IS HEREBY GIVEN pursuant to a Final Judgment of Foreclosure dated July 31, 2024, and entered in 16-2023CA-009928 of the Circuit Court of the FOURTH Judicial Circuit in and for Duval County, Florida, wherein U.S. BANK TRUST NATIONAL ASSOCIATION, NOT IN ITS INDIVIDUAL CAPACITY BUT SOLELY AS OWNER TRUSTEE FOR RCF 2 ACQUISITION TRUST is the Plaintiff and THE UNKNOWN HEIRS, BENEFICIARIES, DEVISEES, GRANTEES, ASSIGNEES, LIENORS, CREDITORS, TRUSTEES AND ALL OTHERS WHO MAY CLAIM AN INTEREST IN THE ESTATE OF IDA MAE SINGLETON A/K/A IDA M. SINGLETON, DECEASED; THE UNKNOWN HEIRS, BENEFICIARIES, DEVISEES, GRANTEES, ASSIGNEES, LIENORS, CREDITORS, TRUSTEES AND ALL OTHERS WHO MAY CLAIM AN INTEREST IN THE ESTATE OF WILLIE JAMES SINGLETON, DECEASED; THE UNKNKOWN HEIRS, BENEFICIARIES, DEVISEES, GRANTEES, ASSIGNEES, LIENORS, CREDITORS, TRUSTEES AND ALL OTHERS WHO MAY CLAIM AN INTEREST IN THE ESTATE OF DOVER VERMON SINGLETON, DECEASED; JOHNIE SINGLETON; UNKNOWN SPOUSE OF JOHNIE SINGLETON; IRMA JEAN SINGLETON; UNKNOWN SPOUSE OF IRMA JEAN SINGLETON; JAMES EDWARD SINGLETON; WILLIE SINGLETON, JR.; DANIELLE SINGLETON;

UNKNOWN SPOUSE OF DANIELLE SINGLETON; YOLANDA SINGLETON; MEKALA SINGLETON; CHERYL GIVENS; FAIR HOME BUYERS, LLC; FORD MOTOR CREDIT COMPANY, LLC are the Defendant(s).

Jody Phillips as the Clerk of the Circuit Court will sell to the highest and best bidder for cash at www.duval.realforeclose.com at 11:00 AM, on September 19, 2024, the following described property as set forth in said Final Judgment, to wit: LOT 2, BLOCK 6, SHERWOOD FOREST UNIT ONE, ACCORDING TO PLAT THEREOF AS RECORDED IN PLAT BOOK 27, PAGE 40, OF THE CURRENT PUBLIC RECORDS DUVAL COUNTY, FLORIDA.

Property Address: 8988 CASTLE BLVD, JACKSONVILLE, FL 32208

Any person claiming an interest in the surplus from the sale, if any, other than the property owner as of the date of the lis pendens must file a claim in accordance with Florida Statutes, Section 45.031. Americans With Disabilities Act (ADA) Notice In accordance with the Americans with Disabilities Act of 1990 (ADA), If you are a person with a disability who needs any accommodation in order to participate in this proceeding, you are entitled at no cost to you, to the provision of certain assistance. Please contact the ADA Coordinator at crtintrp@coj.net or (904) 2551695 at least 7 days before your scheduled court appearance, or immediately upon receiving this notification if the time before the scheduled appearance is less than 7 days; if you are hearing or voice impaired, call 711. Dated this 26th day of August, 2024.

JODY PHILLIPS As Clerk of the Court By: Alice V. Griffin As Deputy Clerk (Court Seal) Robertson, Anschutz, Schneid, Crane & Partners, PLLC Attorneys for Plaintiff 6409 Congress Ave., Suite 100, Boca Raton, FL 33487 Telephone: 561-241-6901 Fax: 561-997-6909 22-026663 - MaM Aug. 29, Sep. 5 6 (24-05496D)

SECOND INSERTION

IN THE CIRCUIT COURT OF THE FOURTH JUDICIAL CIRCUIT IN AND FOR DUVAL COUNTY, FLORIDA CASE No. 16-2023-CA-008558

Division: FC-B

PNC BANK, NATIONAL ASSOCIATION, Plaintiff, VS. CHARNISSA V. KAIGLER

A/K/A CHARNISSA VERNITA KAIGLER; CARLOS V. KAIGLER A/K/A CARLOS VAUGHN

VAUGHN; UNKNOWN HEIRS BENEFICIARIES, DEVISEES, SURVIVING SPOUSE, GRANTEES,; KIARA ANGELIQUE GILLESPIE; TRIONNE KAIGLER A/K/A TRIONNE EDWARDS; BRITTANY SHAY MCNEECEKAIGLER; ALEXIS MARIE KAIGLER; TAYLOR JILVAUGHN KAIGLER; JAVAUGHN KAIGLER; JAVONTE KAIGLER; ANY AND ALL UNKNOWN PARTIES CLAIMING BY, THROUGH, UNDER AND AGAINST THE HEREIN NAMED INDIVIDUAL DEFENDANT(S) WHO ARE NOT KNOWN TO BE DEAD OR ALIVE, WHETHER SAID UNKNOWN PARTIES MAY CLAIM AN INTEREST AS SPOUSES, HEIRS, DEVISEES, GRANTEES, OR OTHER CLAIMANTS Defendant(s). NOTICE OF FORECLOSURE SALE PURSUANT TO CHAPTER 45 NOTICE IS HEREBY GIVEN that sale will be made pursuant to an Order or Final Judgment. Final Judgment was awarded on July 30, 2024 in Civil Case No. 16-2023-CA008558, of the Circuit Court of the FOURTH Judicial Circuit in and for Duval County, Florida, wherein, PNC BANK, NATIONAL ASSOCIATION is the Plaintiff, and CHARNISSA V. KAIGLER A/K/A CHARNISSA VERNITA KAIGLER; CARLOS V. KAIGLER A/K/A CARLOS VAUGHN VAUGHN; UNKNOWN HEIRS BENEFICIARIES, DEVISEES, SURVIVING SPOUSE, GRANTEES,; KIARA ANGELIQUE GILLESPIE; TRIONNE KAIGLER A/K/A TRIONNE EDWARDS; BRITTANY SHAY MCNEECE-KAIGLER; ALEXIS MARIE KAIGLER; TAYLOR JILVAUGHN KAIGLER; JAVAUGHN KAIGLER; JAVONTE KAIGLER; ANY AND ALL UNKNOWN PARTIES

CLAIMING BY, THROUGH, UNDER AND AGAINST THE HEREIN NAMED INDIVID -

SECOND INSERTION

Notice of Self Storage Sale

Please take notice ClearHome

Self Storage - Firestone located at 6664 Firestone Rd Jacksonville, FL 32244 intends to hold a sale to sell the property stored at the Facility by the below list of Occupants whom are in default at an Auction. The sale will occur as an online auction via www.storagetreasures.com on 9/18/2024 at 12:00PM. Unless stated otherwise the description of the contents are household goods, furnishings and garage essentials. Kameron Bess unit #2073; Tanya Campbell unit #2093; Carmen Torres unit #2118; Zane Blair unit #3011; Charlotte Gemma unit #3057; Zivah Dembo unit #3160; Lamesha Brown unit #3196. This sale may be withdrawn at any time without notice. Certain terms and conditions apply. See manager for details. Aug. 29, Sep. 5 6 (24-05460D)

IN THE CIRCUIT COURT FOR THE 4TH JUDICIAL CIRCUIT IN AND FOR DUVAL COUNTY, FLORIDA CASE NO.: 16-2023-CA-008729

When public notices reach the public, everyone benefits some officials want to move notices from newspaper to government-run websites - where they may not be easily found!

SECOND INSERTION

IN THE CIRCUIT COURT FOR THE FOURTH JUDICIAL CIRCUIT IN AND FOR DUVAL COUNTY, FLORIDA CIRCUIT CIVIL DIVISION CASE NO.: 16-2024-CA-003560 Division: FC-H PENNYMAC LOAN SERVICES, LLC

Plaintiff(s), vs. DEMETRIA ROSS; THE UNKNOWN SPOUSE OF DEMETRIA ROSS; MEADOWS AT OAKLEAF TOWNHOMES ASSOCIATION, INC.; THE UNKNOWN TENANT IN POSSESSION, Defendant(s).

NOTICE OF ACTION

TO: DEMETRIA ROSS LAST KNOWN ADDRESS: 9836 FIDDLEBACK LANE, JACKSONVILLE, FL 32222

UAL DEFENDANT(S) WHO ARE NOT KNOWN TO BE DEAD O R ALIVE, WHETHER SAID UNKNOWN PARTIES MAY CLAIM AN INTEREST AS SPOUSES, HEIRS, DEVISEES, GRANTEES, OR OTHER CLAIMANTS are Defendants. The Clerk of the Court, Jody Phillips will sell to the highest bidder for cash at www.duval.realforeclose.com on September 16, 2024 at 11:00:00 AM EST the following described real property as set forth in said Final Judgment, to wit: LOT 19, BLOCK 7, CEDAR HILLS ESTATES UNIT 1, A SUBDIVISION ACCORDING TO THE PLAT THEREOF RECORDED IN PLAT BOOK 27, PAGE 26, 26A AND 26B OF THE PUBLIC RECORDS OF DUVAL COUNTY, FLORIDA, TOGETHER WITH THAT PORTION OF ABANDONED RIGHT OF WAY FOR DRAINAGE AND UTILITIES IN ORDINANCE 2015-634-E AS RECORDED IN O. R. BOOK 17341, PAGE 526

Any person claiming an interest in the surplus from the sale, if any, other than the property owner as of the date of the lis pendens must file a claim before the clerk reports the surplus as unclaimed. Americans With Disabilities Act (ADA) Notice In accordance with the Americans with Disabilities Act of 1990 (ADA), If you are a person with a disability who needs any accommodation in order to participate in this proceeding, you are entitled at no cost to you, to the provision of certain assistance. Please contact the ADA Coordinator at crtintrp@coj.net or (904) 2551695 at least 7 days before your scheduled court appearance, or immediately upon receiving this notification if the time before the scheduled appearance is less than 7 days; if you are hearing or voice impaired, call 711. WITNESS my hand and the seal of the court on August 26, 2024.

JODY PHILLIPS CLERK OF THE COURT

By: Alice V. Griffin Deputy Clerk (Court Seal)

ALDRIDGE PITE, LLP

Attorney for Plaintiff 5300 West Atlantic Avenue Suite 303 Delray Beach, FL 33484

Telephone: 561-392-6391 Facsimile: 561-392-6965

Primary E-Mail: ServiceMail@aldridgepite.com 1457-768B Aug. 29, Sep. 5 6 (24-05497D)

Division: FC-E VYSTAR CREDIT UNION, Plaintiff, vs. JON STANLEY FOYDA; UNITED STATES OF AMERICA; TRUIST F/K/A SUNTRUST BANK; CACH, LLC; BARCLAYS BANK DELAWARE; FORD MOTOR CREDIT COMPANY LLC; CITY OF JACKSONVILLE; GARNET PROPERTIES, LLC; UNKNOWN TENANT #1 N/K/A JAMIE FERRIER, Defendant. NOTICE OF SALE PURSUANT TO CHAPTER 45 NOTICE IS HEREBY GIVEN, in accordance with Consent Final Judgment of Foreclosure dated November 29, 2023, entered in Case No. 16-2023-CA-008729, of the Circuit Court of the Fourth Judicial Circuit in and for Duval County, Florida, wherein VyStar Credit Union is the Plaintiff and Jon Stanley Foyda; United States of America; Truist F/K/A SunTrust Bank; Cach, LLC; Barclays Bank Delaware; Ford Motor Credit Company LLC; City of Jacksonville; Garnet Properties, LLC; Unknown Tenant #1 N/K/A Jamie Ferrier are the Defendants. The Clerk of Circuit Court for Duval County, Florida will sell to the highest and best bidder for cash at: www.duval.realforeclose.com the Clerk’s website for online auctions at 11:00 AM, on October 16, 2024, the following described property as set forth in said Order of Final Judgment, to wit:

LOT 6, BLOCK 6, CEDAR HILLS UNIT 4, ACCORDING TO THE MAP OR PLAT THEREOF AS RECORDED IN PLAT BOOK 26, PAGES 10 AND 10A OF THE PUBLIC RECORDS OF DUVAL COUNTY, FLORIDA PROPERTY ADDRESS: 2359 BARLAD DRIVE, JACKSONVILLE, FL 32210

Any person claiming an interest in the surplus from the sale, if any, other than the property owner as of the date of the lis pendens must file a claim in accordance with Florida Statutes, Section 45.031. Americans With Disabilities Act (ADA) Notice In accordance with the Americans with Disabilities Act of 1990 (ADA), If you are a person with a disability who needs any accommodation in order to participate in this proceeding, you are entitled at no cost to you, to the provision of certain assistance. Please contact the ADA Coordinator at crtintrp@coj.net or (904) 2551695 at least 7 days before your scheduled court appearance, or immediately upon receiving this notification if the time before the scheduled appearance is less than 7 days; if you are hearing or voice impaired, call 711.

DATE: August 26, 2024 JODY PHILLIPS DUVAL COUNTY CLERK OF CIRCUIT COURT AND COMPTROLLER By: Alice V. Griffin DEPUTY CLERK (Court Seal) Atlas | Solomon, PLLC 819 SW Federal Hwy, Suite 301 Stuart, FL 34994

Email: servicemailbox@ atlas-solomon.com Aug. 29, Sep. 5 6 (24-05493D)

SECOND INSERTION

IN THE CIRCUIT COURT OF THE FOURTH JUDICIAL CIRCUIT IN AND FOR DUVAL COUNTY, FLORIDA GENERAL JURISDICTION DIVISION CASE NO. 16-2023-CA-010088 Division: FC-H U.S. BANK NATIONAL ASSOCIATION, Plaintiff, vs. THE UNKNOWN HEIRS, BENEFICIARIES, DEVISEES, GRANTEES, ASSIGNEES, LIENORS, CREDITORS, TRUSTEES AND ALL OTHERS WHO MAY CLAIM AN INTEREST IN THE ESTATE OF EDDIE RANDOLPH, DECEASED, et al. Defendant(s). NOTICE OF FORECLOSURE SALE NOTICE IS HEREBY GIVEN pursuant to a Final Judgment of Foreclosure dated July 17, 2024, and entered in 16-2023-CA010088 of the Circuit Court of the FOURTH Judicial Circuit in and for Duval County, Florida, wherein U.S. BANK NATIONAL ASSOCIATION is the Plaintiff and THE UNKNOWN HEIRS, BENEFICIARIES, DEVISEES, GRANTEES, ASSIGNEES, LIENORS, CREDITORS, TRUSTEES AND ALL OTHERS WHO MAY CLAIM AN INTEREST IN THE ESTATE OF EDDIE RANDOLPH, DECEASED; JACQUELINE WILLIAMS; EDDIE LEE BRADDY; STATE OF FLORIDA, DEPARTMENT OF REVENUE; CLERK OF COURT OF DUVAL COUNTY, FLORIDA; SANDLER LAKES HOMEOWNERS ASSOCIATION, INC. are the Defendant(s). Jody Phillips as the Clerk of the Circuit Court will sell to the highest and best bidder for cash at www.duval.realforeclose.com at 11:00 AM, on September 19,

2024, the following described property as set forth in said Final Judgment, to wit: LOT 97 OF SANDLER LAKES, ACCORDING TO THE PLAT THEREOF AS RECORDED IN PLAT BOOK 75, PAGE(S) 9-14, OF THE PUBLIC RECORDS OF DUVAL COUNTY, FLORIDA. Property Address: 6517 SANDLER LAKES DRIVE, JACKSONVILLE, FL 32222

Any person claiming an interest in the surplus from the sale, if any, other than the property owner as of the date of the lis pendens must file a claim in accordance with Florida Statutes, Section 45.031. Americans With Disabilities Act (ADA) Notice In accordance with the Americans with Disabilities Act of 1990 (ADA), If you are a person with a disability who needs any accommodation in order to participate in this proceeding, you are entitled at no cost to you, to the provision of certain assistance. Please contact the ADA Coordinator at crtintrp@coj.net or (904) 2551695 at least 7 days before your scheduled court appearance, or immediately upon receiving this notification if the time before the scheduled appearance is less than 7 days; if you are hearing or voice impaired, call 711. Dated this 26th day of August, 2024. JODY PHILLIPS As Clerk of the Court By: Michael Wheeler As Deputy Clerk (Court Seal) Robertson, Anschutz, Schneid, Crane & Partners, PLLC Attorneys for Plaintiff 6409 Congress Ave., Suite 100, Boca Raton, FL 33487

Telephone: 561-241-6901

Fax: 561-997-6909 23-134084 - MaM Aug. 29, Sep. 5 6 (24-05495D)

CURRENT ADDRESS: UNKNOWN TO: THE UNKNOWN SPOUSE OF DEMETRIA ROSS LAST KNOWN ADDRESS: 9836 FIDDLEBACK LANE, JACKSONVILLE, FL 32222

CURRENT ADDRESS: UNKNOWN YOU ARE HEREBY NOTI -

FIED that a civil action has been filed against you in the Circuit Court of Duval County, Florida, to foreclose certain real property described as follows: Lot 77 of Meadows at Oak-

lea f Townhomes Phase 2, According to the Plat thereof as recorded in Plat Book 78, Page(S) 11-15, of The Public Records of Duval County, Florida. Property address: 9836 Fiddleback Lane, Jacksonville, FL 32222 You are required to file a written response with the Court and serve a copy of your written defenses, if any, to it on Padgett Law Group, whose address is 6267 Old Water Oak Road, Suite 203, Tallahassee, FL 32312, at least thirty (30) days from the date of first publication, and file the original with the clerk of this court either before service on Plaintiff’s attorney or immediately thereafter; otherwise, a default will be entered against you for the relief demanded in the complaint. DATED this the 27th day of August, 2024.

JODY PHILLIPS CLERK OF THE CIRCUIT COURT As Clerk of the Court By: Tonya Mooradian Deputy Clerk (Court Seal) Padgett Law Group 6267 Old Water Oak Road, Suite 203 Tallahassee, FL 32312 attorney@padgettlawgroup.com Aug. 29, Sep. 5 6 (24-05511D)

SECOND INSERTION

IN THE CIRCUIT COURT FOR DUVAL COUNTY, FLORIDA PROBATE DIVISION Case No.: 16-2024-CP-002176

Division: PR-A IN RE: ESTATE OF SYLVIA P. HOSKINS (a/k/a Sylvia Powell Hoskins), Deceased.

NOTICE TO CREDITORS

The administration of the estate of SYLVIA P. HOSKINS (a/k/a Sylvia Powell Hoskins), deceased, whose date of death was May 4, 2024, Case No.: 16-2024CP-002176, Division PR-A, is pending in the Circuit Court for Duval County, Florida, Probate Division, the address of which is Duval County Courthouse, 501 West Adams Street, Jacksonville, Florida 32202. The names and addresses of the personal representative and the personal representative’s attorney are set forth below.

All creditors of the decedent and other persons having claims or demands against decedent’s estate on whom a copy of this notice is required to be served must file their claims with this court ON OR BEFORE THE LATER OF THREE (3) MONTHS AFTER THE TIME OF THE FIRST PUBLICATION OF THIS NOTICE OR THIRTY (30) DAYS AFTER THE DATE OF SERVICE OF A COPY OF THIS NOTICE ON THEM.

All other creditors of the decedent and other persons having claims or demands against decedent’s estate must file their claims with this court WITHIN THREE (3) MONTHS AFTER THE DATE

IN THE CIRCUIT COURT OF THE 4TH JUDICIAL CIRCUIT, IN AND FOR DUVAL COUNTY, FLORIDA GENERAL JURISDICTION

DIVISION CASE NO: 16-2024-CA-003744

Division: FC-F PENNYMAC LOAN SERVICES, LLC, Plaintiff, vs. SHONTRELL R COOK A/K/A SHONTRELL R HESTER A/K/A SHONTRELL R WALKER; SPANDERIA ANTOINE COOK; US DEPARTMENT OF HOUSING AND URBAN DEVELOPMENT; RADIFI CREDIT UNION F/K/A JAX FEDERAL CREDIT UNION; UNKNOWN TENANT #1; UNKNOWN TENANT #2, Defendant(s). NOTICE OF ACTIONCONSTRUCTIVE SERVICE TO: SHONTRELL R. COOK A/K/A SHONTRELL R. HESTER A/K/A SHONTRELL R. WALKER AND SPANDERIA ANTOINE

COOK LAST KNOWN ADDRESS: 557 W 62ND ST, JACKSONVILLE, FL 32208 ALSO ATTEMPTED AT: 1865 W 25TH ST., JACKSONVILLE, FL 32209 YOU ARE HEREBY NOTIFIED that an action to foreclose a mortgage on the following property: LOT 10, GREENDALE, ACCORDING TO THE MAP OR PLAT THEREOF, AS RECORDED IN PLAT BOOK 15, PAGE(S) 40, OF

OF THE FIRST PUBLICATION OF THIS NOTICE. ALL CLAIMS NOT FILED WITHIN THE TIME PERIODS SET FORTH IN SECTION 733.702 OF THE FLORIDA PROBATE CODE WILL BE FOREVER BARRED. NOTWITHSTANDING THE TIME PERIODS SET FORTH ABOVE, ANY CLAIM FILED TWO (2) YEARS OR MORE AFTER THE DECEDENT’S DATE OF DEATH IS BARRED. A personal representative or curator has no duty to discover whether any property held at the time of the decedent’s death by the decedent or the decedent’s surviving spouse is property to which the Florida Uniform Disposition of Community Property Rights at Death Act as described in sections 732.216-732.228, applies, or may apply, unless a written demand is made by a creditor as specified under section 732.2211. The date of first publication of this Notice is August 29, 2024. Signed on this August 26, 2024 PERSONAL REPRESENTATIVE Heather S. Jackson 3948 3rd Street S. Unit 166 Jacksonville Beach, Florida 32250 ATTORNEY FOR PERSONAL REPRESENTATIVE: Yasmin Wardie Adamy Florida Bar No. 110565 Adamy Law, PLLC 2850 Isabella Boulevard, Suite 10 Jacksonville Beach, Florida 32250 Telephone: (904) 947-4890 E-mail: yaz@adamylaw.com Aug. 29, Sep. 5 6 (24-05502D)

THE PUBLIC RECORDS OF DUVAL COUNTY, FLORIDA. PROPERTY ADDRESS: 557 W 62ND ST, JACKSONVILLE, FL 32208 has been filed against you and you are required to serve a copy of your written defenses, if any, on FRENKEL LAMBERT WEISS WEISMAN & GORDON, LLP, Plaintiffs attorney, whose address is One East Broward Blvd., Suite 1430, Ft. Lauderdale, FL, 33301 no later than 30 days from the date of the first publication of this Notice of Action and file the original with the Clerk of this Court either before service on Plaintiff’s attorney or immediately thereafter; otherwise a default will be entered against you for the relief demanded in the complaint or petition filed herein. WITNESS my hand and the seal of this Court at Duval County, Florida, this 27th day of August, 2024.

JODY PHILLIPS CLERK OF THE CIRCUIT COURT By: Tonya Mooradian DEPUTY CLERK (Court Seal) FRENKEL LAMBERT WEISS WEISMAN & GORDON, LLP

ATTORNEY FOR PLAINTIFF ONE EAST BROWARD BLVD., SUITE 1111 FORT LAUDERDALE, FL 33301

PUBLIC

SECOND INSERTION

IN THE CIRCUIT COURT FOR DUVAL COUNTY, FLORIDA

PROBATE DIVISION

File No.: 16-2024-CP-002256

Division: PR-A

IN RE: ESTATE OF PAMELA ANN MCCIER, aka, PAMELA ANN RAPLEY HOLMES, aka, PAMELA A. RAPLEY MCCIER, Deceased.

NOTICE TO CREDITORS

The administration of the estate of Pamela Ann McCier, aka, Pamela Ann Rapley Holmes, aka, Pamela A. Rapley McCier deceased, whose date of death was July 8, 2024, File Number: 16-2024-CP002256, is pending in the Circuit Court for Duval County, Florida, Probate Division, the address of which 501 W. Adams Street, Jacksonville, Florida 32202. The names and addresses of the personal representative and the personal representative’s attorney are set forth below.

All creditors of the decedent and other persons having claims or demands against decedent’s estate on whom a copy of this notice has been served must file their claims with this court WITHIN THE LATER OF 3 MONTHS AFTER THE DATE OF THE FIRST PUBLICATION OF THIS NOTICE OR 30 DAYS AFTER THE TIME OF SERVICE OF A COPY OF THIS NOTICE ON THEM. All other creditors of the decedent and other persons having claims or demands against decedent’s estate must file their claims with this court WITHIN

3 MONTHS AFTER THE DATE OF THE FIRST PUBLICATION OF THIS NOTICE. ALL CLAIMS NOT SO FILED WILL BE FOREVER BARRED. NOTWITHSTANDING THE TIME PERIOD SET FORTH ABOVE, ANY CLAIM FILED TWO (2) YEARS OR MORE AFTER THE DECEDENT’S DATE OF DEATH IS BARRED.

The personal representative has no duty to discover whether any property held at the time of the decedent’s death by the decedent or the decedent’s surviving spouse is property to which the Florida Uniform Disposition of Community Property Rights at Death Act as described in ss. 732.216732.228, Florida Statutes, applies, or may apply, unless a written demand is made by a creditor as specified under s. 732.2211, Florida Statutes.

The date of first publication of this Notice is August 29, 2024.

Personal Representative: Jerome Rapley, Jr. 2265 Gardenmoss Drive Green Cove Springs, Florida 32043

Attorney for Personal Representative: Burney Bivens, Esquire Florida Bar No.: 353035 1543 Kingsley Ave., 18-B Florida Bar No. 506613 Orange Park, Florida 32073 Telephone: 904-264-3412 Fax: 904-264-2456 Email: attybivens@aol.com Aug. 29, Sep. 5 7 (24-05519D)

SECOND INSERTION

IN THE CIRCUIT COURT, FOURTH JUDICIAL CIRCUIT, IN AND FOR DUVAL COUNTY, FLORIDA

PROBATE DIVISION

File No. 16-2024-CP-002078 Division PR-A IN RE: ESTATE OF THOMAS JAMES FORD, JR.

Deceased. NOTICE TO CREDITORS

The administration of the estate of THOMAS JAMES FORD, JR., deceased, whose date of death was June 13, 2024, is pending in the Circuit Court for DUVAL County, Florida, Probate Division, the address of which is 501 West Adams Street, Jacksonville, FL 32202. The names and addresses of the personal representative and the personal representative’s attorney are set forth below. All creditors of the decedent and other persons having claims or demands against decedent’s estate on whom a copy of this notice is required to be served must file their claims with this court ON OR BEFORE THE LATER OF 3 MONTHS AFTER THE TIME OF THE FIRST PUBLICATION OF THIS NOTICE OR 30 DAYS AFTER THE DATE OF SERVICE OF A COPY OF THIS NOTICE ON THEM.

The personal representative has no duty to discover whether any property held at the time of the decedent’s death by the decedent or the decedent’s surviving spouse is property to which the Florida Uniform Disposition of Community Property Rights at Death Act as described in ss. 732.216732.228, Florida Statutes, applies,

or may apply, unless a written demand is made by a creditor as specified under s. 732.2211, Florida Statutes. All other creditors of the decedent and other persons having claims or demands against decedent’s estate must file their claims with this court WITHIN 3 MONTHS AFTER THE DATE OF THE FIRST PUBLICATION OF THIS NOTICE. ALL CLAIMS NOT FILED WITHIN THE TIME PERIODS SET FORTH IN FLORIDA STATUTES SECTION 733.702 WILL BE FOREVER BARRED. NOTWITHSTANDING THE TIME PERIODS SET FORTH ABOVE, ANY CLAIM FILED TWO (2) YEARS OR MORE AFTER THE DECEDENT’S DATE OF DEATH IS BARRED.

The date of first publication of this notice is August 29, 2024.

Personal Representative: Tonya Pettigrew 14701 Bartram Park Blvd, #509 Jacksonville, Florida 32258

Attorney for Personal Representative: DOUGLAS A. OBERDORFER, Esquire

Attorney for the Personal Representative Florida Bar Number: 0139092 432 East Monroe Street Jacksonville, Florida 32202 Telephone: (904) 354-5454

Fax: (904) 350-9803 E-Mail: doug@oberdorferlaw.com Secondary E-Mail: service@oberdorferlaw.com Aug. 29, Sep. 5 7 (24-05489D)

SECOND INSERTION

IN THE CIRCUIT COURT OF THE FOURTH JUDICIAL CIRCUIT, IN AND FOR DUVAL COUNTY, FLORIDA PROBATE DIVISION

File No: 16-2024-CP-002382

Division: PR-A IN RE: THE ESTATE OF GAVIN TYLER RICKARD

Deceased.

NOTICE TO CREDITORS

The administration of the estate of Gavin Tyler Rickard, deceased, whose date of death was April 2, 2024, is pending in the Circuit Court for Duval County, Florida, Probate Division, the address of which is 501 W. Adams St., Jacksonville, FL 32202. The names and addresses of the personal representative and the personal representative’s attorney are set forth below. All creditors of the Decedent and other persons having claims or demands against Decedent’s estate on whom a copy of this notice is required to be served must file their claims with this Court WITHIN THE LATER OF 3 MONTHS AFTER THE TIME OF THE FIRST PUBLICATION OF THIS NOTICE OR 30 DAYS AFTER THE DATE OF SERVICE OF A COPY OF THIS NOTICE ON THEM. All other creditors of the Decedent and other persons having claims or demands against Decedent’s estate must file their claims with this Court WITHIN

3 MONTHS AFTER THE DATE OF THE FIRST PUBLICATION OF THIS NOTICE. ALL CLAIMS NOT FILED WITHIN THE TIME PERIODS SET FORTH IN SECTION

SECOND INSERTION

NOTICE OF PUBLIC LIEN SALE

NOTICE IS HERBY GIVEN that the undersigned intends to sell the personal property described below to enforce a lien imposed on said property under the Florida Self Storage Facility Act Statutes (Section 83.801-83.809).

The property contained in the storage unit at Discount Mini Storage of Jacksonville, 5134 Firestone Rd, Jacksonville, FL 32210 will be sold or otherwise disposed of at STORAGETREASURES. COM. The online auction date is September 17, 2024 at 11:00AM or thereafter:

Unit #225 Aileen Boatner

Boxes/Bins, Golf Clubs, Wicker Furn

Unit #321 Staneshia T Thomas

Washer, Backpacks, Plastic Bags

Unit #432 Quanda Hilton Furn, HHG, Boxes/Bins, Speaker

Unit #631 Vontrece Williams

Mattress, Fridge, Carpet

Unit #808 Michael T Alexander

Mattresses, Bedframe, Stereo

Unit #825 Benjamekia Patterson

Furn, HHG, Bags, TV

Aug. 29, Sep. 5 7 (24-05517D)

SECOND INSERTION

NOTICE

Extra Space Storage, on behalf of itself or its affiliates, Life Storage or Storage Express, will hold a public auction to sell personal property described below belonging to those individuals listed below at the location indicated:

Address: 790 Monument Rd Jacksonville, FL 32225

Auction Date: 09-17-2024

Auction Time: 11:30AM

Handel Bhola- Household Items

Wilterance JonesHousehold Items

Alexandra WhippleHousehold Items

Alfred SlaughterHousehold Items

Dion Gordon-Household Items

Melissa Perez-Household Items

Tavante JacksonHousehold Items

The auction will be listed and advertised on www.storagetreasures.com

Purchases must be made with cash only and paid at the above referenced facility in order to complete the transaction. Extra Space Storage may refuse any bid and may rescind any purchase up until the winning bidder takes possession of the personal property. Aug. 29, Sep. 5 7 (24-05487D)

SECOND INSERTION

IN THE CIRCUIT COURT OF THE FOURTH JUDICIAL CIRCUIT IN AND FOR DUVAL COUNTY, FLORIDA GENERAL JURISDICTION

DIVISION CASE NO. 16-2022-CA-000577

DIVISION: FC-B

US BANK TRUST NATIONAL ASSOCIATION, NOT IN ITS INDIVIDUAL CAPACITY BUT SOLELY AS OWNER TRUSTEE FOR VRMTG ASSET TRUST, Plaintiff, vs. MERI L. WEST, et al. Defendant(s). NOTICE OF FORECLOSURE SALE NOTICE IS HEREBY GIVEN pursuant to a Final Judgment of Foreclosure and Amended Final Judgment of Foreclosure Nunc Pro Tunc dated July 23, 2024, and entered in 16-2022-CA000577 of the Circuit Court of the FOURTH Judicial Circuit in and for Duval County, Florida, wherein US BANK TRUST NATIONAL ASSOCIATION, NOT IN ITS INDIVIDUAL CAPACITY BUT SOLELY AS OWNER TRUSTEE FOR VRMTG ASSET TRUST is the Plaintiff and MERI L. WEST are the Defendant(s). Jody Phillips as the Clerk of the Circuit Court will sell to the highest and best bidder for cash at: www.duval.realforeclose.com at 11:00 AM, on September 23, 2024, the following described property as set forth in said Final Judgment, to wit: ALL THAT CERTAIN LAND SITUATE IN DUVAL COUNTY, FLORIDA, VIZ:LOT 8 AND 9, BLOCK 9, PANAMA TERRACE, ACCORDING TO THE PLAT

THEREOF, AS RECORDED IN PLAT BOOK 4, PAGES 43 AND 44, OF THE CURRENT PUBLIC RECORDS OF DUVAL COUNTY, FLORIDA. Property Address: 454 W 63RD ST, JACKSONVILLE, FL 32208

Any person claiming an interest in the surplus from the sale, if any, other than the property owner as of the date of the lis pendens must file a claim in accordance with Florida Statutes, Section 45.031. Americans With Disabilities Act (ADA) Notice

In accordance with the Americans with Disabilities Act of 1990 (ADA), If you are a person with a disability who needs any accommodation in order to participate in this proceeding, you are entitled at no cost to you, to the provision of certain assistance. Please contact the ADA Coordinator at crtintrp@coj.net or (904) 2551695 at least 7 days before your scheduled court appearance, or immediately upon receiving this notification if the time before the scheduled appearance is less than 7 days; if you are hearing or voice impaired, call 711. Dated this 27th day of August, 2024.

JODY PHILLIPS As Clerk of the Court By: Tonya Mooradian As Deputy Clerk (Court Seal) Robertson, Anschutz, Schneid, Crane & Partners, PLLC Attorneys for Plaintiff 6409 Congress Ave., Suite 100 Boca Raton, FL 33487 Telephone: 561-241-6901 Fax: 561-997-6909 21-072326 - MaM Aug. 29, Sep. 5 7 (24-05516D)

SECOND INSERTION

733.702 OF THE FLORIDA PROBATE CODE WILL BE FOREVER BARRED. NOTWITHSTANDING THE TIME PERIODS SET FORTH ABOVE, ANY CLAIM FILED TWO (2) YEARS OR MORE AFTER THE DECEDENT’S DATE OF DEATH IS BARRED.

The personal representative has no duty to discover whether any property held at the time of the decedent’s death by the decedent or the decedent’s surviving spouse is property to which the Florida Uniform Disposition of Community Property Rights at Death Act as described in ss. 732.216732.228, Florida Statutes, applies, or may apply, unless a written demand is made by a creditor as specified under s. 732.2211, Florida Statutes.

The date of first publication of this notice is August 29, 2024. Co-Personal Representatives Christopher Rickard 3007 West Wyoming Ave. Tampa, FL 33611

Corrine Guerber 2802 Kavalier Dr. Palm Harbor, FL 34684 THE HINSON LAW FIRM, P.A. /s/ Kathryn E. Stanfill Matthew H. Hinson, Esq. Florida Bar No. 94017

Kathryn E. Stanfill, Esq. Florida Bar No. 1002636 300 West Adams St., Suite 500 Jacksonville, FL 32202

Phone: 904-527-1700 Fax: 904-355-8088 Matt@HinsonLawPA.com Kathryn@HinsonLawPA.com

Attorney for co-Personal Representatives Aug. 29, Sep. 5 7 (24-05520D)

IN THE CIRCUIT COURT OF THE FOURTH JUDICIAL CIRCUIT OF FLORIDA IN AND FOR DUVAL COUNTY GENERAL JURISDICTION DIVISION CASE NO. 16-2023-CA-010697 Division: FC-B UMB BANK, NATIONAL ASSOCIATION, NOT IN ITS INDIVIDUAL CAPACITY, BUT SOLELY AS LEGAL TITLE TRUSTEE FOR PRL TITLE TRUST I, Plaintiff, vs. TERI RIEHL A/K/A TERI A. RIEHL A/K/A TERI ANN UHRIG A/K/A TERI ANN SZALKIEWICZ A/K/A TERI STANTON, et al., Defendants.

NOTICE OF FORECLOSURE SALE

NOTICE IS HEREBY GIVEN pursuant to a Summary Final Judgment of Foreclosure entered June 20, 2024 in Civil Case No. 16-2023-CA-010697 of the Circuit Court of the FOURTH JUDICIAL CIRCUIT in and for Duval County, Jacksonville, Florida, wherein UMB BANK, NATIONAL ASSOCIATION, NOT IN ITS INDIVIDUAL CAPACITY, BUT SOLELY AS LEGAL TITLE TRUSTEE FOR PRL TITLE TRUST I is Plaintiff and Teri Riehl a/k/a Teri A. Riehl a/k/a Teri Ann Uhrig a/k/a Teri Ann Szalkiewicz a/k/a Teri Stanton, et al., are Defendants, the Clerk of Court, Jody Phillips, will sell to the highest and best bidder for cash electronically at: www.duval.realforeclose.com in accordance with Chapter 45, Florida Statutes on the 23rd day of September, 2024 at 11:00 AM on the following described prop-

Why fix
broken? that isn’t

When public notices reach the public, everyone benefits some officials want to move notices from newspaper to government-run websites - where they may not be easily found!

SECOND INSERTION

NOTICE

Extra Space Storage, on behalf of itself or its affiliates, Life Storage or Storage Express, will hold a public auction to sell personal property described below belonging to those individuals listed below at the location indicated: 3445 Plymouth Street Jacksonville FL 32205, on September 17th, 2024 at 2pm.

Shevonnie Robinson Household goods

Aaliyah Shiloh

Boxes furniture personal items

The auction will be listed and advertised on www.storagetreasures.com. Purchases must be made with cash only and paid at the above referenced facility in order to complete the transaction. Extra Space Storage may refuse any bid and may rescind any purchase up until the winning bidder takes possession of the personal property.

Aug. 29, Sep. 5 7 (24-05505D)

IN THE CIRCUIT COURT OF THE FOURTH JUDICIAL CIRCUIT IN AND FOR DUVAL COUNTY, FLORIDA CIVIL DIVISION CASE NO. 16-2024-CA-003377 DIVISION FC-E

erty as set forth in said Summary Final Judgment, to-wit: Lot 6, Block 2, Tidewater Harbor, according to the plat thereof as recorded in Plat Book 24, Page 1, of the current Public Records of Duval County, Florida. Address: 345 TIDEWATER CIR W, JACKSONVILLE, FL 32211

Any person claiming an interest in the surplus from the sale, if any, other than the property owner as of the date of the lis pendens, must file a claim before the clerk reports the surplus as unclaimed. Americans With Disabilities Act (ADA) Notice In accordance with the Americans with Disabilities Act of 1990 (ADA), If you are a person with a disability who needs any accommodation in order to participate in this proceeding, you are entitled at no cost to you, to the provision of certain assistance. Please contact the ADA Coordinator at crtintrp@coj.net or (904) 2551695 at least 7 days before your scheduled court appearance, or immediately upon receiving this notification if the time before the scheduled appearance is less than 7 days; if you are hearing or voice impaired, call 711. Dated this 27th day of August, 2024. JODY PHILLIPS CLERK OF THE CIRCUIT COURT As Clerk of the Court By: Michael Wheeler Deputy Clerk (Court Seal) McCalla Raymer Leibert Pierce, LLC 110 SE 6th Street, Suite 2400 Fort Lauderdale, FL 33301 MRService@mccalla.com Counsel of Plaintiff Aug. 29, Sep. 5 7 (24-05513D)

U.S. BANK TRUST NATIONAL ASSOCIATION, NOT IN ITS INDIVIDUAL CAPACITY, BUT SOLELY AS OWNER TRUSTEE FOR CITIGROUP MORTGAGE LOAN TRUST 2021-RP5, Plaintiff, vs. ROBERT C. HANSON a/k/a ROBERT CHARLES HANSON; UNKNOWN SPOUSE OF ROBERT C. HANSON a/k/a ROBERT CHARLES HANSON; SOUTHERN OAKS ASSOCIATION, INC.; UNKNOWN TENANT #1; UNKNOWN TENANT #2; ALL OTHER UNKNOWN PARTIES CLAIMING INTERESTS BY, THROUGH, UNDER, AND AGAINST THE HEREIN NAMED DEFENDANT(S) WHO ARE NOT KNOWN TO BE DEAD OR ALIVE, WHETHER SAME UNKNOWN PARTIES MAY CLAIM AN INTEREST AS SPOUSES, HEIRS, DEVISEES, GRANTEES, OR OTHER CLAIMANTS Defendant(s). NOTICE OF ACTION TO: UNKNOWN SPOUSE OF ROBERT C. HANSON a/k/a ROBERT CHARLES HANSON Last Known Address: N/A Current Address: N/A Previous Address: N/A TO: ALL OTHER UNKNOWN PARTIES CLAIMING INTERESTS BY, THROUGH, UNDER, AND AGAINST THE HEREIN NAMED DEFENDANT(S) WHO ARE NOT KNOWN TO BE DEAD OR ALIVE, WHETHER SAME UNKNOWN PARTIES MAY CLAIM AN INTEREST AS SPOUSES, HEIRS, DEVISEES, GRANTEES, OR OTHER CLAIMANTS whose residence is unknown if he/she/they be living; and if he/she/they be dead, the unknown defendants who may be spouses, heirs, devisees, grantees, assignees, lienors, creditors, trustees, and all parties claiming an interest by, through, under or against the Defendants, who are not known to be dead or alive, and all parties having or claiming to have any right, title or interest in the property described in the mortgage being foreclosed herein

TO: UNKNOWN HEIRS, DEVISEES, BENEFICIARIES, GRANTEES, ASSIGNEES, LIENORS, CREDITORS, TRUSTEES AND ALL OTHER UNKNOWN PERSONS OR SPOUSES CLAIMING BY, THROUGH, UNDER, OR AGAINST THE ESTATE OF ROBERT C. HANSON A/K/A ROBERT CHARLES HANSON, DECEASED whose residence is unknown if he/she/they be living; and if he/she/they be dead, the unknown defendants who may be spouses, heirs, devisees, grantees, assignees, lienors, creditors, trustees, and all parties claiming an interest by, through, under or against the Defendants, who are not known to be dead or alive, and all parties having or claiming to have any right, title or interest in the property described in the mortgage being foreclosed herein

YOU ARE NOTIFIED that an action to foreclose a mortgage has been filed against you, in regard to the following property in DUVAL County, Florida, legally described as:

A PART OF GOVERNM ENT LOT 2, SECTION 7, TOWNSHIP 4 SOUTH, RANGE 28 EAST, DUVAL COUNTY, FLORIDA MORE PARTICULARLY DESCRIBED AS FOLLOWS: FOR A POINT OF REFERENCE, COMMENCE AT REFERENCE POINT ‘U’ AS ESTABLISHED BY THE DESCRIPTION OF BAYWOOD PARCEL “A” AS DESCRIBED IN EXHIBIT “C” OF BAYWOOD DECLARATION OF COVENANTS, CONDITIONS, AND RESTRICTIONS AS RECORDED IN OFFICIAL RECORDS VOLUME 3652 BEGINNING AT PAGE 965 OF THE CURRENT PUBLIC RECORDS OF SAID COUNTY, THENCE RUN SOUTH 88 DEGREES, 49’50”EAST, A DISTANCE OF 55.0 FEET TO THE POINT OF BEGINNING; THENCE RUN SOUTH 88 DEGREES, 49’50” EAST, A DISTANCE OF 45.0 FEET; THENCE RUN NORTH 01 DEGREES, 10’10” EAST, A DISTANCE OF 90.0 FEET; THENCE RUN NORTH 88 DEGREES, 49’50” WEST, A DISTANCE OF 45.0 FEET; THENCE RUN SOUTH 01 DEGREES, 10’10” WEST A DISTANCE OF 90.0 FEET TO THE POINT OF BEGINNING.

TOGETHER WITH THAT CERTAIN 1984 CHAMPION CONCORD DOUBLEWIDE MOBILE HOME, ID #’S: 3348727793A AND 3348727793B WHICH IS ATTACHED AND TAXED AS REAL PROPERTY. This property is located at the street address of: 7621 PLUMWOOD DRIVE, JACKSONVILLE, FL 32256. YOU ARE REQUIRED to serve a copy of your written defenses within 30 days after the first publication, if any, on McMichael Taylor Gray, LLC, Plaintiff’s Attorney, whose address is 7351 Wiles Rd, Ste. 107, Coral Springs, FL 33067, and file the original with this Court either before service on Plaintiff’s Attorney, or immediately thereafter; otherwise, a default will be entered against you for the relief demanded in the Complaint or Petition. This Notice shall be published once a week for two consecutive weeks in the JACKSONVILLE DAILY RECORD. Americans With Disabilities Act (ADA) Notice In accordance with the Americans with Disabilities Act of 1990 (ADA), If you are a person with a disability who needs any accommodation in order to participate in this proceeding, you are entitled at no cost to you, to the provision of certain assistance. Please contact the ADA Coordinator at crtintrp@coj.net or (904) 2551695 at least 7 days before your scheduled court appearance, or immediately upon receiving this notification if the time before the scheduled appearance is less than 7 days; if you are hearing or voice impaired, call 711. WITNESS my hand and the seal of the court on August 27, 2024.

JODY PHILLIPS CLERK OF THE CIRCUIT COURT By: Tonya Mooradian Deputy Clerk (Court Seal)

FOURTH INSERTION

IN THE COUNTY COURT OF DUVAL COUNTY, FLORIDA

Case No: 16-2024-CC-003159

DIVISION: CC-C

Ally Bank Plaintiff,

v. David Louis Crumrine and Mhiezle Khae Metran Crumrine Defendant(s).

NOTICE OF ACTION CONSTRUCTIVE SERVICE

PERSONAL PROPERTY

TO: David Louis Crumrine:

LAST KNOWN ADDRESS:

8000 Baymeadows Cir E #8000, Jacksonville, FL 32256-7771 and Mhiezle Khae Metran Crumrine:

LAST KNOWN ADDRESS: 8000 Baymeadows Cir E #8000, Jacksonville, FL 32256-7771

Residence unknown, if living, including any unknown spouse of the said Defendants, if either has remarried and if either or both of said Defendants are dead, their respective unknown heirs, devisees, grantees, assignees, creditors, lienors, and trustees, and all other persons claiming by, through, under or against the named Defendant(s); and the aforementioned named Defendant(s) and such of the aforementioned unknown Defendants and such of the aforementioned unknown Defendants as may be infants, incompetents or otherwise not sui juris.

YOU ARE HEREBY NOTIFIED that a complaint for monetary damages and writ of replevin on personal property arising from contract has been commenced

to recover possession of the following personal property, last known to be located in Duval County, Florida, more particularly described as follows: 2020 Kia Soul (VIN No: KNDJ23AU6L7114162) This action has been filed against you and you are required to serve a copy of your written defense, if any, upon LOGS LEGAL GROUP LLP, Attorneys for Plaintiff, whose address is 750 Park of Commerce Blvd., Suite 130, Boca Raton, FL 33487, before twenty (28) days after the first publication of this notice and file the original with the clerk of this court either before service on Plaintiff’s attorney or immediately thereafter; otherwise a default will be entered against you for the relief demanded in the Complaint. Americans With Disabilities Act (ADA) Notice In accordance with the Americans with Disabilities Act of 1990 (ADA), If you are a person with a disability who needs any accommodation in order to participate in this proceeding, you are entitled at no cost to you, to the provision of certain assistance. Please contact the ADA Coordinator at crtintrp@coj.net or (904) 255-1695 at least 7 days before your scheduled court appearance, or immediately upon receiving this notification if the time before the scheduled appearance is less than 7 days; if you are hearing or voice impaired, call 711. WITNESS my hand and seal of this Court on the 13th day of August, 2024.

JODY PHILLIPS Circuit and County Courts

By: N’colas Burton Deputy Clerk (Court Seal) Aug. 15/22/29, Sep. 5 (24-05264D)

FOURTH INSERTION

IN THE CIRCUIT COURT OF THE FOURTH JUDICIAL

CIRCUIT IN AND FOR DUVAL COUNTY, FLORIDA CASE NO.: 16-2024-CA-002673

DIVISION: CV-G

KIMBERLY WILIAMS AS PERSONAL REPRESENATIVE FOR THE ESTATE OF MARTHA L. MARTIN, Plaintiff, VS. HORACE C. MARTIN, AND UNKNOWN TENANTS, HEIRS, DEVISEES, GRANTEES, ASSIGNEES, LIENORS, CREDITORS, TRUSTEES, AND ALL OTHER PARTIES CLAIMING ANY ESTATE, RIGHT, TITLE, OR INTEREST BY, THROUGH, OR AGAINST HORACE C. MARTIN, OR IN THE REAL PROPERTY HEREIN DESCRIBED, Defendant.

NOTICE OF ACTION TO: THE UNKNOWN TENANTS, HEIRS, DEVISEES, GRANTEES, ASSIGNEES, LIENORS, CREDITORS, TRUSTEES, AND ALL OTHER PARTIES CLAIMING ANY ESTATE, RIGHT, TITLE, OR INTEREST BY, THROUGH, OR AGAINST HORACE C. MARTIN, OR IN THE REAL PROPERTY HEREIN DESCRIBED OF HORACE C. MARTIN, DECEASED 1541 Jones Road Jacksonville, FL 32207

YOU ARE NOTIFIED that a Complaint to Quiet Title has been filed against you regarding real property located in Duval County, Florida, (Hereinafter referred to as “Subject Property”), and more particularly described as: Part of the NW 1/4 of SE 1/4 of Section 9, Township 2 South, Range 25 East, Duval County, Florida, being more particularly described as follows:

Begin at the intersection of the southerly line of the Seaboard Coast Line Railroad with the Easterly line of Jones

THIRD INSERTION

IN THE CIRCUIT COURT OF THE FOURTH JUDICIAL CIRCUIT, IN AND FOR DUVAL COUNTY, FLORIDA CASE NO.: 16-2023-DR-007766-FM Division: FM-B

Jacques Rivette, Petitioner, and Tommesha Q. Pratt, Respondent, NOTICE OF ACTION FOR DISSOLUTION OF MARRIAGE

TO: Tommesha Q. Pratt 3500 Townsend Blvd., #112 Jacksonville, FL 32277

YOU ARE NOTIFIED that an action for dissolution of marriage has been filed against you and that you are required to serve a copy of your written defenses, if any, on Jacques Rivette whose address is 5126 Astral St., Jacksonville, FL 32205, on or before October 4, 2024, and file the original with the clerk of this Court at 501 W. Adams St., Jacksonville, Florida 32202 before service on Petitioner or immediately thereafter. If you fail to do so, a default may be entered against you for the relief demanded in the petition.

Copies of all court documents in this case, including orders, are available at the Clerk of the Circuit Court’s office. You may review these documents upon request. You must keep the Clerk of the Circuit Court’s office notified of your current address. (You may file Notice of Current Mailing and E-mail Address, Florida Supreme Court Approved Family Law Form 12.915). Future papers in this lawsuit will be mailed to the address on record at the clerk’s office.

WARNING: Rule 12.285, Florida Family Law Rules of Procedure, requires certain automatic disclosure of documents and information. Failure to comply can result in sanctions, including dismissal or striking of pleadings.

Dated August 20, 2024 JODY PHILLIPS, CLERK OF THE CIRCUIT COURT By: Octavia Talton Deputy Clerk (Court Seal) Aug. 22/29 Sep. 5/12 17 (24-05406D)

THIRD INSERTION

FOURTH INSERTION IN THE COUNTY COURT, FOURTH JUDICIAL CIRCUIT, IN AND FOR DUVAL COUNTY, FLORIDA CASE NO.: 16-2024-CC-005916

DIVISION: CC-I 121 FINANCIAL CREDIT UNION, Plaintiff, vs. SELINA OUTLAW, Defendants.

NOTICE OF ACTION

To the following Defendant: Selina Outlaw 7960 Merchants Way Apt 2109 Jacksonville, FL 32222-2931

Whose residence is unknown YOU ARE HEREBY NOTIFIED that an action for damages has been filed against you and you are required to serve a copy of your written defenses, if any, to it on Jimerson Birr, P.A. whose address is One Independent Drive, Suite 1400, Jacksonville, Florida 32202, and file the original with the Clerk of the abovestyled Court on or before thirty (30) days from the first publication, otherwise a Judgment may be entered against you for the relief demanded in the Complaint. Americans With Disabilities Act (ADA) Notice In accordance with the Americans with Disabilities Act of 1990 (ADA), If you are a person with a disability who needs any accommodation in order to participate in this proceeding, you are entitled at no cost to you, to the provision of certain assistance. Please contact the ADA Coordinator at crtintrp@coj.net or (904) 2551695 at least 7 days before your scheduled court appearance, or immediately upon receiving this notification if the time before the scheduled appearance is less than 7 days; if you are hearing or voice impaired, call 711. WITNESS my hand and the seal of this Court this 12th day of August, 2024.

JODY PHILLIPS Clerk of the Circuit Court Duval County, Florida As Clerk of the Court by: By: N’colas Burton As Deputy Clerk (Court Seal) Aug. 15/22/29, Sep. 5 17 (24-05247D)

FOURTH INSERTION

IN THE COUNTY COURT, IN AND FOR DUVAL, FLORIDA CASE NO.: 16-2024-SC-010244

DIVISION: CC-H

ALDRIDGE & SONS PLUMBING CONTRACTORS, INC., a Florida for-profit corporation, Plaintiff, v. LOD JACKSONVILLE, LLC, a Florida limited liability company; and RED LOBSTER HOSPITALITY, LLC, a Florida limited liability company, Defendants.

NOTICE OF ACTION TO: LOD JACKSONVILLE, LLC, a Florida limited liability company

REGISTERED AGENT, DANIEL DOMINQUEZ 1521 ZULETA AVE CORAL GABLES, FLORIDA 33146

YOU ARE NOTIFIED that an action for breach of contract, has been filed against you and you are required to serve a copy of your written defenses, if any, to it on ALDRIDGE & SONS PLUMBING CONTRACTORS, INC., a Florida for-profit corporation, the plaintiff, whose address is 301 W. Bay Street, Suite 1424, Jacksonville, Florida 32202, on or before thirty (30) days from this first publication, and file the original with the clerk of this court either before service on the plaintiff or immediately thereafter; otherwise a default will be entered against you for the relief demanded in the complaint.

DATED on this August 7, 2024 JODY PHILLIPS Clerk of the Circuit Court By: Malika Daniel as Deputy Clerk (Court Seal) Preston H. Oughton, Esq. Florida Bar No. 0059389

301 W. Bay Street, Suite 1424 Jacksonville, FL 32202 Office: (904-854-6336) Fax: (904-854-6331) Aug. 15/22/29, Sep. 5 17 (24-05203D)

FOURTH INSERTION

FOURTH INSERTION

NOTICE OF CONDEMNATION THE CITY OF JACKSONVILLE, DEPARTMENT OF NEIGHBORHOODS, HAS INSPECTED THE FOLLOWING PROPERTY(S) AND FOUND IT TO BE IN VIOLATION OF CHAPTER 518 (PROPERTY SAFETY & MAINTENANCE CODE) OF THE MUNICIPAL CODE. 1134 Hart St described as RE#053874-0000 recorded in Book 15174 Page 2360 also see Book 21047 Page 1732 of the Public records of Duval County, Florida. 2566 Leon Rd described as RE#165356-0000 recorded in Book 9851 Page 2355 of the Public records of Duval County, Florida. 1176 East 14th St described as RE#113466-0000 recorded in Book 20024 Page 1464 of the Public records of Duval County, Florida. 2029 West 18th St described as RE#046094-0000 recorded in Book 21006 Page 1187 of the Public records of Duval County, Florida. The Property(s) has been condemned and the City may proceed with corrective action pursuant to Section 518.304, if the unsafe conditions are not terminated forthwith. The cost of such action will be a lien and special tax upon the property. Further information concerning the City’s condemnation and abatement action may be obtained by contacting the Municipal Code Compliance Division, 214 N Hogan Street, 7th Floor, Jacksonville, Florida 32202 Phone Number 255-7000. Thomas Register Division Chief Municipal Code Compliance Division Aug. 15/22/29, Sep. 5 17 (24-05189D)

Road (an 80 foot right-ofway); thence 0°20’ E, along said Easterly line of Jones Road. 153.62 feet; thence South 88°23’30” E, 318.41 feet; thence North 0°20’ W, 152.36 feet to said Southerly line of the Seaboard Coast Railroad; thence North 88°10’ W, along said Southerly line of the Seaboard Coast Line Railroad, 318.43 feet to the POINT OF BEGINNING. Containing 1.12 acres, and reserving the Southerly 15 feet thereof as an easement for ingress and egress. Having the street address of 1541 Jones Road, Jacksonville, Florida 32220-1491 . You are required to serve a copy of your written defenses/response, if any, to it on PETER PENROD, ESQ., Attorney for the Plaintiff, whose address is 189 S. Lawrence Blvd, Keystone Heights, FL 32656, on or before thirty days from the date of first publication of this NOTICE OF ACTION, and file the original with the Clerk of this Court at 501 W. Adams St., Jacksonville, Florida 32202, before service on Plaintiff or immediately thereafter. If you fail to do so, a default may be entered against you for the relief demanded in the Complaint. Copies of all court documents in this case, including orders, are available at the Clerk of the Circuit Court’s office. You may review these documents upon request. You must keep the Clerk of the Circuit Court’s office notified of your current address. Future papers in this lawsuit will be mailed or e-mailed to the addresses on record at the clerk’s office. Dated: August 8, 2024. JODY PHILLIPS CLERK OF THE CIRCUIT COURT

By: Alice V. Griffin Deputy Clerk (Court Seal) Aug. 15/22/29, Sep. 5 17 (24-05206D)

IN THE CIRCUIT COURT OF THE FOURTH JUDICIAL CIRCUIT, IN AND FOR DUVAL COUNTY, FLORIDA CASE NO.: 16-2024-DR-010060 Division: FM-D Deshanda Jennings, Petitioner, and Asfa Omar Coombs, Respondent, NOTICE OF ACTION FOR DISSOLUTION OF MARRIAGE (NO CHILD OR FINANCIAL SUPPORT)

TO: Asfa Omar Coombs 356 E 47th St. Jacksonville, FL 32208

YOU ARE NOTIFIED that an action for dissolution of marriage has been filed against you and that you are required to serve a copy of your written defenses, if any, on Deshanda Jennings whose address is 10672 Meadowlea Dr., Jacksonville, FL 32218, on or before October 7, 2024, and file the original with the clerk of this Court at 501 W. Adams St., Jacksonville, Florida 32202 before service on Petitioner or immediately thereafter. If you fail to do so, a default may be entered against you for the relief demanded in the petition. The action is asking the court to decide how the following real or personal property should be divided: None

Copies of all court documents in this case, including orders, are available at the Clerk of the Circuit Court’s office. You may review these documents upon request. You must keep the Clerk of the Circuit Court’s office notified of your current address. (You may file Notice of Current Mailing and E-mail Address, Florida Supreme Court Approved Family Law Form 12.915). Future papers in this lawsuit will be mailed to the address on record at the clerk’s office.

WARNING: Rule 12.285, Florida Family Law Rules of Procedure, requires certain automatic disclosure of documents and information. Failure to comply can result in sanctions, including dismissal or striking of pleadings.

Dated August 21, 2024

JODY PHILLIPS, CLERK OF THE CIRCUIT COURT

By: Octavia Talton Deputy Clerk (Court Seal) Aug. 22/29 Sep. 5/12 17 (24-05410D)

FOURTH INSERTION IN THE CIRCUIT COURT OF THE FOURTH JUDICIAL CIRCUIT, IN AND FOR DUVAL COUNTY, FLORIDA CASE NO.: 16-2024-DR-011276 Division: FM-C Daphne Taylor, Petitioner, and Patrick Anthony Taylor, Sr., Respondent, NOTICE OF ACTION FOR DISSOLUTION OF MARRIAGE (NO CHILD OR FINANCIAL SUPPORT)

TO: Patrick Anthony Taylor, Sr. 7055 N. Pearl Street Jacksonville, FL 32208

YOU ARE NOTIFIED that an action for dissolution of marriage has been filed against you and that you are required to serve a copy of your written defenses, if any, on Daphne Taylor whose address is 3500 University Blvd., N., Apt. 1103, Jacksonville, FL 32277, on or before September 20, 2024, and file the original with the clerk of this Court at 501 West Adams St., Jacksonville, Florida 32202 before service on Petitioner or immediately thereafter. If you fail to do so, a default may be entered against you for the relief demanded in the petition.

The action is asking the court to decide how the following real or personal property should be divided: None

Copies of all court documents in this case, including orders, are available at the Clerk of the Circuit Court’s office. You may review these documents upon request.

You must keep the Clerk of the Circuit Court’s office notified of your current address. (You may file Notice of Current Mailing and E-mail Address, Florida Supreme Court Approved Family Law Form 12.915). Future papers in this lawsuit will be mailed to the address on record at the clerk’s office.

WARNING: Rule 12.285, Florida Family Law Rules of Procedure, requires certain automatic disclosure of documents and information. Failure to comply can result in sanctions, including dismissal or striking of pleadings.

Dated August 6, 2024

PHILLIPS,

OF THE CIRCUIT COURT By:

(Court Seal)

Aug. 15/22/29 Sep. 5 17 (24-05182D)

IN THE CIRCUIT COURT OF THE FOURTH JUDICIAL CIRCUIT IN AND FOR DUVAL COUNTY, FLORIDA CASE NO.: 16-2023-DR-06009-FM

DIVISION: FM-D

IN RE: The Marriage of: GREGORY MICHAEL ROESLER, Husband/Petitioner, and PATRICIA MYERS ROESLER, Wife/Respondent. NOTICE OF ACTION FOR DISSOLUTION OF MARRIAGE TO: PATRICIA MYERS ROESLER Last known address: 5222 KEN RD JACKSONVILLE, FL 32210

YOU ARE NOTIFIED that an action for Dissolution of Marriage has been filed against you and that you are required to serve a copy of your written defenses, if any, to it on GREGORY MICHAEL ROESLER, c/o of his counsel, Thomas L. Gurrola, Esquire, 7855 Argyle Forest Blvd., Suite 909, Jacksonville, FL 32244, on or before September 26, 2024, and file the original with the clerk of this Court at 501 West Adams Street, Jacksonville, FL 32202, before service on Petitioner or immediately thereafter.

If you fail to do so, a default may be entered against you for the relief demanded in the petition.

Copies of all court documents in this case, including orders, are available at the Clerk of the Circuit Court’s office. You may review these documents upon request. You must keep the Clerk of the Circuit Court’s office notified of your current address. (You may file Designation of Current Mailing and E-Mail Address, Florida Supreme Court Approved Family Law Form 12.915.) Future papers in this lawsuit will be mailed or emailed to the addresses on record at the clerk’s office. WARNING: Rule 12.285, Florida Family Law Rules of Procedure, requires certain automatic disclosure of documents and information. Failure to comply can result in sanctions, including dismissal or striking of pleadings.

Dated: August 12, 204. JODY PHILLIPS CLERK OF THE CIRCUIT COURT By: Maxine Jefferson Deputy Clerk (Court Seal) Aug. 15/22/29, Sep. 5 17 (24-05218D)

FOURTH INSERTION IN THE CIRCUIT COURT FOR THE FOURTH JUDICIAL CIRCUIT IN AND FOR DUVAL COUNTY, FLORIDA CASE NO. 16-2024-CA-004344

Division: CV-A In re: FRONTLINE ASSET STRATEGIES, LLC, a Minnesota limited liability company, Assignor, To: MARK HEALY OF MICHAEL MOECKER & ASSOCIATES, INC. Assignee, AMENDED NOTICE OF ASSIGNMENT FOR THE BENEFIT OF CREDITORS TO: ALL CREDITORS AND OTHER INTERESTED PARTIES PLEASE TAKE NOTICE THAT:

1. On August 7, 2024, a petition was filed commencing an Assignment for the Benefit of Creditors proceeding, pursuant to Chapter 727, Florida Statutes, made by Frontline Asset Strategies, LLC, a Minnesota limited liability company (the “Assignor”), with its principal place of business at 10550 Deerwood Park Blvd., Ste. 309, Jacksonville, Florida 32256 to Mark Healy of Michael Moecker & Associates, Inc. (the “Assignee”), whose address is 1885 Marina Mile Boulevard, Suite 103, Fort Lauderdale, Florida 33315. 2. Pursuant to Florida Statutes 727.105, no proceeding may be commenced against the Assignee except as provided in Chapter 727 and, except in the case of a secured creditor enforcing its rights and collateral under Chapter 679, there shall be no levy, execution, attachment, or the like in the respect of any judgment against assets of the estate, other than real property, in the possession, custody, or control of the Assignee.

3. YOU ARE HEREBY further noticed that in order to receive any dividend in this proceeding you must file a Proof of Claim with the Assignee, Mark Healy of Michael Moecker & Associates, Inc., at 1885 Marina Mile Boulevard, Suite 103, Fort Lauderdale, Florida 33315 or as otherwise directed in the enclosed Proof of Claim, on or before THURSDAY, DECEMBER 5, 2024. Aug. 15/22/29, Sep. 5 17 (24-05216D)

PUBLIC NOTICES DUVAL COUNTY • SUBSEQUENT

SECOND INSERTION

SECOND INSERTION

IN THE COUNTY COURT, FOURTH JUDICIAL CIRCUIT, IN AND FOR, DUVAL COUNTY, FLORIDA

CASE NO.: 16-2024-CC-006584

DIVISION: CC-I

COLLINSWOOD OWNERS

ASSOCIATION, INC.

Plaintiff, vs. SIDNEY E STOUTAMIRE JR.

Defendants.

AMENDED NOTICE OF ACTION

TO: Sidney E Stoutamire Jr.

YOU ARE NOTIFIED that the above-styled action to foreclose the lien on the following described property in Duval County, Florida: Lot #64, of Collinswood Unit One, according to the Plat thereof recorded in Plat Book 56, Page(s) 17, 17A through 17G, inclusive, of the current Public Records of Duval County, Florida. Property Address: 1024 Collinswood Drive West , Jacksonville, FL 32225 has been filed against you and you are required to serve a copy of your written defenses, if any, to it on Crabtree Law Group, P.A., 8777 San Jose Boulevard, Building A, Suite 200, Jacksonville, Florida 32217, (Phone Number: (904)7329701; Email: cwb@crabtreefirm. com), Plaintiff’s attorney within thirty (30) days after the first publication of this notice and file the original with the Clerk of this

court either before service on Plaintiff’s attorney or immediately thereafter; otherwise a default will be entered against you for the relief demanded in the complaint. This notice shall be published once a week for two consecutive weeks in the Jacksonville Daily Record.

Americans With Disabilities Act (ADA) Notice In accordance with the Americans with Disabilities Act of 1990 (ADA), If you are a person with a disability who needs any accommodation in order to participate in this proceeding, you are entitled at no cost to you, to the provision of certain assistance. Please contact the ADA Coordinator at crtintrp@coj.net or (904) 2551695 at least 7 days before your scheduled court appearance, or immediately upon receiving this notification if the time before the scheduled appearance is less than 7 days; if you are hearing or voice impaired, call 711. DATED on 23rd day of August, 2024.

JODY PHILLIPS CLERK OF COUNTY COURT

By: Alice V. Griffin Deputy Clerk (Court Seal) Crabtree Law Group, P.A. 8777 San Jose Boulevard Building A, Suite 200 Jacksonville, Florida 32217 ems@crabtreefirm.com

Attorney for Plaintiff Aug. 29, Sep. 5 5 (24-05477D)

SECOND INSERTION

IN THE CIRCUIT COURT OF THE FOURTH JUDICIAL CIRCUIT, IN AND FOR DUVAL COUNTY, FLORIDA. CASE No. 16-2023-CA-011953

Division: FC-G TEACHERS INSURANCE AND ANNUITY ASSOCIATION OF AMERICA, PLAINTIFF, VS. THE UNKNOWN HEIRS, BENEFICIARIES, DEVISEES, GRANTEES, ASSIGNORS, CREDITORS AND TRUSTEES OF THE ESTATE OF DARLENE B. SINGLETON A/K/A DARLENE SINGLETON (A/K/A DARLENE AVIS BRYANT SINGLETON DECEASED), ET AL. DEFENDANT(S). NOTICE OF ACTION To: THE UNKNOWN HEIRS, BENEFICIARIES, DEVISEES, GRANTEES, ASSIGNORS, CREDITORS AND TRUSTEES OF THE ESTATE OF DARLENE B. SINGLETON A/K/A DARLENE SINGLETON A/K/A DARLENE AVIS BRYANT SINGLETON (DECEASED) RESIDENCE: UNKNOWN LAST KNOWN ADDRESS: 2035 Talladega Rd, Jacksonville, FL 32209

YOU ARE HEREBY NOTIFIED that an action to foreclose a mortgage on the following described property located in Duval County, Florida: LOT 20, BLOCK 13, ROYAL TERRACE ADDITION NO. 1, AS PER PLAT THEREOF, RECORDED IN PLAT BOOK 18, PAGE 17, OF THE PUB-

LIC RECORDS OF DUVAL COUNTY, FLORIDA has been filed against you, and you are required to serve a copy of your written defenses, if any, to this action, on Tromberg, Morris & Partners, PLLC, attorneys for Plaintiff, whose address is 600 West Hillsboro Boulevard, Suite 600, Deerfield Beach, FL 33441, and file the original with the Clerk of the Court, within 30 days after the first publication of this notice, otherwise a default may be entered against you for the relief demanded in the Complaint. This notice shall be published once a week for two consecutive weeks in the Jacksonville Daily Record.

Americans With Disabilities Act (ADA) Notice In accordance with the Americans with Disabilities Act of 1990 (ADA), If you are a person with a disability who needs any accommodation in order to participate in this proceeding, you are entitled at no cost to you, to the provision of certain assistance. Please contact the ADA Coordinator at crtintrp@coj.net or (904) 2551695 at least 7 days before your scheduled court appearance, or immediately upon receiving this notification if the time before the scheduled appearance is less than 7 days; if you are hearing or voice impaired, call 711.

Date: August 23, 2024

JODY PHILLIPS Clerk of the Circuit Court By: Alice V. Griffin Deputy Clerk of the Court (Court Seal) Aug. 29, Sep. 5 5 (24-05476D)

SECOND INSERTION

IN THE COUNTY COURT, FOURTH JUDICIAL CIRCUIT, IN AND FOR DUVAL COUNTY, FLORIDA CASE NO.: 16-2023-CC-007045

DIVISION: CC-H THE DEERWOOD IMPROVEMENT ASSOCIATION, INC., a Florida non-profit corporation, Plaintiff v. JAMES S. DANNER; SUSAN B. DANNER; AND UNKNOWN PARTY IN POSSESSION, Defendants. NOTICE OF SALE NOTICE IS HEREBY GIVEN pursuant to the Order Granting Plaintiff’s Motion to Vacate Property Redemption and Set Sale Date entered on August 21, 2024 in Case No. 16-2023-CC-007045 of the County Court of the Fourth Judicial Circuit in and for Duval County, Florida, in which THE DEERWOOD IMPROVEMENT ASSOCIATION, INC., is Plaintiff, and JAMES S. DANNER, SUSAN B. DANNER, and UNKNOWN PARTY IN POSSESSION N/K/A JILLIAN WHITTEMORE are Defendants, I, the Duval County Clerk of the Court, will sell to the highest bidder for cash at: www.duval.realforeclose.com at the hour of 11:00 a.m. on the 24th day of October, 2024, the following described real property: Lot 12, Block 14, Deerwood, Unit Three, according to the map or plat thereof, as recorded in Plat Book 33, Page(s) 90, of the Public Records of Duval County, Florida. Parcel ID Number: 1486300460 Property address: 10017

SECOND INSERTION

IN THE CIRCUIT COURT FOR DUVAL COUNTY, FLORIDA

PROBATE DIVISION

File No.: 16-2024-CP-002194

Division: PR-A

IN RE: ESTATE OF ROBERT HAMMOND WRIGHT Deceased.

NOTICE TO CREDITORS

The administration of the estate of Robert Hammond Wright, deceased, whose date of death was January 4, 2024, is pending in the Circuit Court for Duval County, Florida, Probate Division, the address of which is 501 W Adams Street, Jacksonville, Florida 32202. The names and addresses of the personal representative and the personal representative’s attorney are set forth below.

All creditors of the decedent and other persons having claims or demands against decedent’s estate on whom a copy of this notice is required to be served must file their claims with this court ON OR BEFORE THE LATER OF 3 MONTHS AFTER THE TIME OF THE FIRST PUBLICATION OF THIS NOTICE OR 30 DAYS AFTER THE DATE OF SERVICE OF A COPY OF THIS NOTICE ON THEM.

All other creditors of the decedent and other persons having claims or demands against decedent’s estate must file their claims with this court WITHIN 3 MONTHS AFTER THE DATE OF THE FIRST PUBLICATION OF THIS NOTICE.

ALL CLAIMS NOT FILED WITHIN THE TIME PERIODS SET FORTH IN FLORIDA STAT-

UTES SECTION 733.702 WILL BE FOREVER BARRED. NOTWITHSTANDING THE TIME PERIODS SET FORTH ABOVE, ANY CLAIM FILED TWO (2) YEARS OR MORE AFTER THE DECEDENT’S DATE OF DEATH IS BARRED.

The personal representative has no duty to discover whether any property held at the time of the decedent’s death by the decedent or the decedent’s surviving spouse is property to which the Florida Uniform Disposition of Community Property Rights at Death Act as described in ss. 732.216732.228, Florida Statutes, applies, or may apply, unless a written demand is made by a creditor as specified under s. 732.2211, Florida Statutes.

The date of first publication of this Notice is August 29, 2024. Personal Representative: Chad Wright 3373 Hermitage Road East Jacksonville, Florida 32277

Attorney for Personal Representative: L Michael Maddox E-mail Addresses: LMMaddox @2119Lawyers.com, LMMSecretary @2119Lawyers.com

Florida Bar No. 0905800 Law Offices of L. Michael Maddox, PA 2119 Riverside Ave Jacksonville, Fl 32204 Telephone: (904) 384-8770 Aug. 29, Sep. 5 5 (24-05483D)

IN THE CIRCUIT COURT OF THE 4TH JUDICIAL

Lake Lamar Court, Jacksonville, Florida 32256

Any person claiming an interest in the surplus from the sale, if any, other than the property owner as of the date of the lis pendens must file a claim before the clerk reports the surplus as unclaimed. Americans With Disabilities Act (ADA) Notice In accordance with the Americans with Disabilities Act of 1990 (ADA), If you are a person with a disability who needs any accommodation in order to participate in this proceeding, you are entitled at no cost to you, to the provision of certain assistance. Please contact the ADA Coordinator at crtintrp@coj.net or (904) 2551695 at least 7 days before your scheduled court appearance, or immediately upon receiving this notification if the time before the scheduled appearance is less than 7 days; if you are hearing or voice impaired, call 711. WITNESS my hand and the seal of the court on this 26th day of August, 2024.

JODY PHILLIPS

CLERK OF THE CIRCUIT COURT

By: Alice V. Griffin Deputy Clerk (Court Seal) Hans C. Whal, Esq. Summer L. Reed, Esq. Cobb & Gonzalez, P.A. 4655 Salisbury Road, Suite 200 Jacksonville, FL 32256 hwhal@cobbgonzalez.com sreed@cobbgonzalez.com jfields@cobbgonzalez.com kvanleer@cobbgonzalez.com file@cobbgonzalez.com Aug. 29, Sep. 5 5 (24-05492D)

SECOND INSERTION

IN THE COUNTY COURT, FOURTH JUDICIAL CIRCUIT, IN AND FOR DUVAL COUNTY, FLORIDA CASE NO.: 16-2024-CC-007282

DIVISION: CC-I REVISION RENOVATIONS, INC., d/b/a SERVPRO OF GREATER ST. AUGUSTINE, Plaintiff, v. JANET GRAY, Defendant.

NOTICE OF FORECLOSURE SALE NOTICE IS HEREBY GIVEN that, in accordance with the Final Judgment dated August 22, 2024 and entered in Case No. 16-2024CC-007282 in the County Court of the Fourth Judicial Circuit in and for Duval County, Florida, wherein REVISION RENOVATIONS, INC. D/B/A SERVPRO OF GREATER ST. AUGUSTINE is the Plaintiff, and JANET GRAY is the Defendant, the Clerk of the Circuit Court will sell the following described property to the highest and best bidder for cash via electronic sale at: www.duval.realforeclose.com in accordance with Chapter 45, Florida Statutes, beginning at 11:00 A.M. on November 5, 2024: LOT 18, CONROY’S ADDITION TO WEST SPRINGFIELD, ACCORDING TO THE MAP OR PLAT THEREOF, AS RECORDED IN PLAT BOOK 7, PAGE(S) 21 OF THE PUBLIC RECORDS OF DUVAL COUNTY, FLORIDA. RE #: 045230-0000. 633 W. 17TH STREET, JACKSONVILLE, FL 32206. ANY PERSON CLAIMING AN INTEREST IN THE SURPLUS FROM THE SALE, IF ANY, OTHER THAT THE PROPERTY OWNER AS OF THE DATE OF THE LIS PENDENS, MUST FILE A CLAIM IN ACCORDANCE WITH FLORIDA STATUTES, SECTION 45.031. Americans with Disabilities (ADA) Notice In accordance with the Americans with Disabilities Act of 1990 (ADA), if you are a person with a disability who needs any accommodation in order to participate in this proceeding, you are entitled, at no cost to you, to the provision of certain assistance. Please contact the ADA Coordinator at (904) 255-1695 or crtintrp@coj.net at least 7 days before your scheduled court appearance, or immediately upon receiving this notification if the time before the scheduled appearance is less than 7 days; if you are hearing or voice impaired, call 711. Dated this 23rd day of August, 2024.

JODY PHILLIPS As Clerk of the Court By: Alice v. Griffin Deputy Clerk (Court Seal)

Submitted By: Tritt & Associates, P.A. Attorneys for Plaintiff 707 Peninsular Place Jacksonville, Florida 32204 Telephone (904) 354-5200 Facsimile: (904) 354-5256 Aug. 29, Sep. 5 5 (23-05478D)

CIRCUIT, IN AND FOR DUVAL COUNTY, FLORIDA CIVIL DIVISION

CASE NO. 16-2024-CA-002734 Division: FC-C NATIONSTAR MORTGAGE LLC, Plaintiff, vs. JASON ANTHONY MAESTRE; TANZI MAESTRE; UNKNOWN PERSON IN POSSESSION OF THE SUBJECT PROPERTY, Defendant(s) NOTICE OF ACTION

To the following Defendant(s): JASON ANTHONY MAESTRE

(LAST KNOWN ADDRESS)

2584 SPRING LAKE ROAD

JACKSONVILLE, FLORIDA 32210

TANZI MAESTRE

(LAST KNOWN ADDRESS) 2584 SPRING LAKE ROAD

JACKSONVILLE, FLORIDA 32210

YOU ARE NOTIFIED that an action for Foreclosure of Mortgage on the following described property: LOT 12, BLOCK 9, SPRING LAKE UNIT TWO, ACCORDING TO THE PLAT THEREOF AS RECORDED IN PLAT BOOK 37, PAGE(S) 61 AND 61A, OF THE CURRENT PUBLIC RECORDS OF DUVAL COUNTY, FLORIDA. a/k/a 2584 SPRING LAKE ROAD, JACKSONVILLE, FLORIDA 32210

has been filed against you and you are required to serve a copy of your written defenses, if any, to it, on

SECOND INSERTION

Notice of Self Storage Sale

Please take notice SecureSpace Self Storage Atlantic Beach located at 1770 Mayport Road, Atlantic Beach, FL 32233 intends to hold a sale to sell the property stored at the Facility by the below list of Occupant who is in default at an Auction. The sale will occur as an online auction via www.storagetreasures.com on 9/19/2024 at 2:30PM. Unless stated otherwise the description of the contents are household goods, furnishings and garage essentials. Joseph Porter unit #B044; Anthony Arroyave unit #B048; Felicia Johnson unit #M074. This sale may be withdrawn at any time without notice. Certain terms and conditions apply. See manager for details. Aug. 29, Sep. 5 5 (24-05459D)

SECOND INSERTION

NOTICE Extra Space Storage, on behalf of itself or its affiliates, Life Storage or Storage Express, will hold a public auction to sell personal property described below belonging to those individuals listed below at the location indicated: 45 Jefferson Rd, Jacksonville FL, 32225. September 17th, 2024 at 1:00PM Cole Steel - Household Goods Lakiesha WilliamsSmall Appliances, boxes, storage totes, clothes

The auction will be listed and advertised on www.storagetreasures.com. Purchases must be made with cash only and paid at the above referenced facility in order to complete the transaction. Extra Space Storage may refuse any bid and may rescind any purchase up until the winning bidder takes possession of the personal property. Aug. 29, Sep. 5 5 (24-05488D)

SECOND INSERTION IN THE CIRCUIT COURT OF THE FOURTH JUDICIAL CIRCUIT, IN AND FOR DUVAL COUNTY, FLORIDA GENERAL JURISDICTION DIVISION CASE NO: 16-2021-CA-003474

DIVISION: FC-C NWL COMPANY, LLC, Plaintiff, vs. MARK E. FREEMAN; et. al., Defendant(s). CLERK’S NOTICE OF SALE NOTICE IS GIVEN that, in accordance with the Order on Plaintiff’s Motion to Reschedule Foreclosure Sale entered on July 17, 2024 in the above-styled cause, I will sell to the highest and best bidder for cash on October 3, 2024 at 11:00 a.m., at: www.duval.realforeclose.com LOT 22, BLOCK 29, NORMANDY VILLAGE, UNIT 8, ACCORDING TO PLAT THEREOF AS RECORDED IN PLAT BOOK 29, PAGES 77 AND 77A, OF THE CURRENT PUBLIC RECORDS OF DUVAL COUNTY, FLORIDA

NOTICE Extra Space Storage, on behalf of itself or its affiliates, Life Storage or Storage Express, will hold a public auction to sell personal property described below belonging to those individuals listed below at the location indicated: Extra Space Storage, 2004 Edison Ave, Jacksonville, Florida 32204. Auction date: September 17, 2024 at 1:30pm Corey McCorkle, Kg matt & box, hd & Ft brd, 2 dresser, 2 nt sds, 2 pc sec, 10 boxes Demarkus Pinkney, household items Reashondra Cobb, bags of clothes Eric Mitchell, household items and office items Nolvia Martinez, household items Hayley Traback, Christmas decor and family pictures Ashley Robinson, Entire house , beds , tvs, couch, pictures Shelea Kirksey, Clothes shoes TV cotton candy machine Michae Grantl, fridge, washer/dryer Terrance Terrell Boyd, Household goods Katrita Mann, Beans, mattress, microwave MONTRELL SWEETING, household items Love Phillips III, Boxes, furniture, clothes The auction will be listed and advertised on www.storagetreasures.com. Purchases must be made with cash only and paid at the above referenced facility in order to complete the transaction. Extra Space Storage may refuse any bid and may rescind any purchase up until the winning bidder takes possession of the personal property. Aug. 29, Sep. 5 5 (24-05468D)

SECOND INSERTION

IN THE CIRCUIT COURT IN AND FOR DUVAL COUNTY, FLORIDA CASE NO.: 16-2024-CP-002335

Kahane & Associates, P.A., Attorney for Plaintiff, whose address is 1619 NW 136th Avenue, Suite D-220, Sunrise, FLORIDA 33323, within thirty (30) days after the first publication of this Notice in the Jacksonville Daily Record and file the original with the Clerk of this Court either before service on Plaintiff’s attorney or immediately thereafter; otherwise a default will be entered against you for the relief demanded in the complaint. Americans With Disabilities Act (ADA) Notice In accordance with the Americans with Disabilities Act of 1990 (ADA), If you are a person with a disability who needs any accommodation in order to participate in this proceeding, you are entitled at no cost to you, to the provision of certain assistance. Please contact the ADA Coordinator at crtintrp@coj.net or (904) 2551695 at least 7 days before your scheduled court appearance, or immediately upon receiving this notification if the time before the scheduled appearance is less than 7 days; if you are hearing or voice impaired, call 711.

WITNESS my hand and the seal of this Court this 23rd day of August, 2024.

JODY

As Clerk of the Court By:

As Deputy Clerk (Court Seal) Kahane & Associates, P.A. 1619 NW 136th Avenue, Suite D-220 Sunrise, Florida 33323

Property Address: 2139 Corot Drive, Jacksonville, FL 32210 ANY PERSON CLAIMING AN INTEREST IN THE SURPLUS FROM THE SALE, IF ANY, OTHER THAN THE PROPERTY OWNER AS OF THE DATE OF THE LIS PENDENS MUST FILE A CLAIM BEFORE THE CLERK REPORTS THE SURPLUS AS UNCLAIMED Americans With Disabilities Act (ADA) Notice In accordance with the Americans with Disabilities Act of 1990 (ADA), If you are a person with a disability who needs any accommodation in order to participate in this proceeding, you are entitled at no cost to you, to the provision of certain assistance. Please contact the ADA Coordinator at crtintrp@coj.net or (904) 2551695 at least 7 days before your scheduled court appearance, or immediately upon receiving this notification if the time before the scheduled appearance is less than 7 days; if you are hearing or voice impaired, call 711. Dated: August 26, 2024. JODY PHILLIPS, CLERK DUVAL COUNTY CIRCUIT COURT By: Alice V. Griffin Deputy Clerk (Court Seal) KELLEY L. CHURCH, ESQUIRE QUINTAIROS, PRIETO, WOOD & BOYER, P.A. 255 SOUTH ORANGE AVENUE, SUITE 900 ORLANDO, FL 32801

SERVICECOPIES@ QPWBLAW.COM ATTORNEY FOR PLAINTIFF Aug. 29, Sep. 5 5 (24-05494D)

DIVISION: PR-B IN RE: ESTATE OF LAURA DEVINE HAMMONDS Deceased. NOTICE TO CREDITORS The administration of the Estate of Laura Devine Hammonds, deceased, whose date of death was July 21, 2024, is pending in the Circuit Court for Duval County, Florida, Probate Division, the address of which is 501 W Adams Street, Jacksonville, Florida 32202. The names and addresses of the personal representative and the personal representative’s attorney are set forth below. All creditors of the decedent and other persons having claims or demands against decedent’s estate on whom a copy of this notice is required to be served must file their claims with this court ON OR BEFORE THE LATER OF 3 MONTHS AFTER THE TIME OF THE FIRST PUBLICATION OF THIS NOTICE OR 30 DAYS AFTER THE DATE OF SERVICE OF A COPY OF THIS NOTICE ON THEM. All other creditors of the decedent and other persons having claims or demands against decedent’s estate must file their claims with this court WITHIN 3 MONTHS AFTER THE DATE OF THE FIRST PUBLICATION OF THIS NOTICE. ALL CLAIMS NOT FILED WITHIN THE TIME PERIODS SET FORTH IN FLORIDA STATUTES SECTION 733.702 WILL BE FOREVER BARRED. NOTWITHSTANDING THE TIME PERIODS SET FORTH ABOVE, ANY CLAIM FILED TWO (2) YEARS OR MORE AFTER THE DECEDENT’S DATE OF DEATH IS BARRED. The personal representative has no duty to discover whether any property held at the time of the decedent’s death by the decedent or the decedent’s surviving spouse is property to which the Florida Uniform Disposition of Community Property Rights at Death Act as described in ss. 732.216732.228, Florida Statutes, applies, or may apply, unless a written demand is made by a creditor as specified under s. 732.2211, Florida Statutes. The date of first publication of this notice is August 29, 2024. Personal Representative: Linda Ransome 1936 Stillwood Way St. Cloud, FL 34771 Attorney for Personal Representative By: /s/ Blair D. Schemer BLAIR D. SCHEMER, ESQUIRE BERNARD & SCHEMER, P.A. 480 Busch Drive, Jacksonville, FL 32218 (904) 751-6980 Fla. Bar No. 60598 Email: blair@bernardlaw.net Aug. 29, Sep. 5 5 (24-05457D)

PUBLIC NOTICES DUVAL COUNTY

SECOND INSERTION

ADVERTISEMENT OF SALE

Property described below will be sold per the Florida Self Storage Facility Act. Sale on Thursday the 19th day of September, 2024 at 11:00 AM with bidding to take place on lockerfox.com. Payment and pickup at facility. Storage Rentals of America, 8539 Western Way, Jacksonville, FL, 32256. Collins, Craig Boxes, Totes, Furniture, Household Goods, Clothes, Trunk, Electronics, Fishing; Ferba-Rogers, Serena Boxes, Totes, Furniture, Household Goods, Mattress; Cantrell, Sierrah Furniture, Totes, Chair Sale is subject to cancellation in the event of settlement between owner and obligated party. Aug. 29, Sep. 5 4 (24-05433D)

SECOND INSERTION

Notice of Self Storage Sale

Please take notice StoreEaseJacksonville located at 8483 New Kings Rd. Jacksonville, FL 32219 intends to hold a sale to sell the property stored at the Facility by the below list of Occupants whom are in default at an Auction. The sale will occur as an online auction via www.lockerfox.com on 9/19/2024 at 10:00AM. Unless stated otherwise the description of the contents are household goods, furnishings and garage essentials. Taniyah McClendon unit #1031; Dominic Braxton unit #1090. This sale may be withdrawn at any time without notice. Certain terms and conditions apply. See manager for details. Aug. 29, Sep. 5 4 (24-05461D)

SECOND INSERTION

IN THE CIRCUIT COURT FOR DUVAL COUNTY, FLORIDA PROBATE DIVISION

File No. 16-2023-CP-003085

Division PR-B IN RE: ESTATE OF JESSE LEE PENDER

Deceased.

NOTICE TO CREDITORS

The administration of the estate of Jesse Lee Pender, deceased, whose date of death was September 4, 2023, is pending in the Circuit Court for Duval County, Florida, Probate Division, the address of which is 501 W Adams Street, Jacksonville, Florida 32202. The names and addresses of the personal representative and the personal representative’s attorney are set forth below.

All creditors of the decedent and other persons having claims or demands against decedent’s estate on whom a copy of this notice is required to be served must file their claims with this court ON OR BEFORE THE LATER OF 3 MONTHS AFTER THE TIME OF THE FIRST PUBLICATION OF THIS NOTICE OR 30 DAYS AFTER THE DATE OF SERVICE OF A COPY OF THIS NOTICE ON THEM.

The personal representative has no duty to discover whether any property held at the time of the decedent’s death by the decedent or the decedent’s surviving spouse is property to which the Florida Uniform Disposition of Community Property Rights at Death

Act as described in ss. 732.216732.228, Florida Statutes, applies, or may apply, unless a written demand is made by a creditor as specified under s. 732.2211, Florida Statutes.

All other creditors of the decedent and other persons having claims or demands against decedent’s estate must file their claims with this court WITHIN 3 MONTHS AFTER THE DATE OF THE FIRST PUBLICATION OF THIS NOTICE. ALL CLAIMS NOT FILED WITHIN THE TIME PERIODS SET FORTH IN FLORIDA STATUTES SECTION 733.702 WILL BE FOREVER BARRED. NOTWITHSTANDING THE TIME PERIODS SET FORTH ABOVE, ANY CLAIM FILED TWO (2) YEARS OR MORE AFTER THE DECEDENT’S DATE OF DEATH IS BARRED.

The date of first publication of this Notice is August 29, 2024.

Personal Representative: Annaesa Cosby 5203 Park Street Jacksonville, Florida 32205

Attorney for Personal Representative: Markus A. Sermons Florida Bar Number: 74420 SERMONS LAW, PLLC 1543 Kingsley Avenue, Suite 18-B Orange Park, Florida 32073 Telephone: (904) 541-6492

E-Mail: Mark@sermonsfirm.com Aug. 29, Sep. 5 4 (24-05467D)

SECOND INSERTION

IN THE CIRCUIT COURT OF THE FOURTH JUDICIAL CIRCUIT IN AND FOR DUVAL COUNTY, FLORIDA CASE No. 16-2022-CA-005284 Division: FC-G HABIT FOR HUMANITY OF JACKSONVILLE, INC, Plaintiff, VS. UNKNOWN HEIRS, BENEFICIARIES, DEVISEES, SURVIVING SPOUSE, GRANTEES,; UNKNOWN TENANT #1 N/K/A LATITIA LANE; RONNIE HAYWOOD; SOLOMON HAYWOOD, JR.; MICHAEL HAYWOOD; GREGORY HAYWOOD; TIMOTHY HAYWOOD; DARIAN HAYWOOD; CASSANDRA HAYWOOD; WANDA HAYWOOD; CYNTHIA CARTER; SONYA ADDISON; DARTHUSHA MCGUIGAN; ANY AND ALL UNKNOWN PARTIES CLAIMING BY, THROUGH, UNDER AND AGAINST THE HEREIN NAMED INDIVIDUAL DEFENDANT(S) WHO ARE NOT KNOWN TO BE DEAD OR ALIVE, WHETHER SAID UNKNOWN PARTIES MAY CLAIM AN INTEREST AS SPOUSES, HEIRS, DEVISEES, GRANTEES, OR OTHER CLAIMANTS Defendant(s). NOTICE OF FORECLOSURE SALE PURSUANT TO CHAPTER 45 NOTICE IS HEREBY GIVEN that sale will be made pursuant to an Order or Final Judgment. Final Judgment was awarded on August 16, 2024 in Civil Case No. 16-2022-CA-005284, of the Circuit Court of the FOURTH Judicial Circuit in and for Duval County, Florida, wherein, HABIT FOR HUMANITY OF JACKSONVILLE, INC is the Plaintiff, and UNKNOWN HEIRS, BENEFICIARIES, DEVISEES, SURVIVING SPOUSE, GRANTEES,; UNKNOWN TENANT #1 N/K/A LATITIA LANE; RONNIE HAYWOOD; SOLOMON HAYWOOD, JR.; MICHAEL HAYWOOD; GREGORY HAYWOOD; TIMOTHY HAYWOOD; DARIAN HAYWOOD; CASSANDRA HAYWOOD; WANDA HAYWOOD; CYNTHIA CARTER; SONYA ADDISON; DARTHUSHA MCGUIGAN; ANY AND ALL UNKNOWN PARTIES CLAIMING BY, THROUGH,

SECOND INSERTION

IN THE CIRCUIT COURT OF THE FOURTH JUDICIAL CIRCUIT, IN AND FOR DUVAL COUNTY, FLORIDA

File No: 16-2024-CP-002175 Division: PR-B IN RE: THE ESTATE OF DAVID RICHARD LUNDY, Deceased.

NOTICE TO CREDITORS

The administration of the estate of David Richard Lundy, deceased, whose date of death was July 4, 2024, is pending in the Circuit Court for Duval County, Florida, Probate Division, the address of which is 501 West Adams Street, Jacksonville, FL 32202. The names and addresses of the Personal Representative and Personal Representative’s attorney are set forth below.

All creditors of the decedent and other persons having claims or demands against decedent’s estate on whom a copy of this notice is required to be served must file their claims with this court ON OR BEFORE THE LATER OF 3 MONTHS AFTER THE TIME OF THE FIRST PUBLICATION OF THIS NOTICE OR 30 DAYS AFTER THE DATE OF SERVICE OF A COPY OF THIS NOTICE ON THEM.

All other creditors of the decedent and other persons having claims or demands against decedent’s estate must file their claims with this court WITHIN 3 MONTHS AFTER THE DATE OF THE FIRST PUBLICATION OF THIS NOTICE.

The Personal Representative has no duty to discover whether any property held at the time of the decedent’s death by the decedent or the decedent’s surviving spouse is property to which the Florida Uniform Disposition of Community Property Rights at Death Act as described in ss. 732-216732.228, applies, or may apply, unless a written demand is made by a creditor as specified under s. 732.2211.

ALL CLAIMS NOT FILED WITHIN THE TIME PERIODS SET FORTH IN FLORIDA STATUTES SECTION 733.702 WILL BE FOREVER BARRED. NOTWITHSTANDING THE TIME PERIODS SET FORTH ABOVE, ANY CLAIM FILED TWO (2) YEARS OR MORE AFTER THE DECEDENT’S DATE OF DEATH IS BARRED.

The date of first publication of this notice is August 29, 2024.

UNDER AND AGAINST THE HEREIN NAMED INDIVIDUAL DEFENDANT(S) WHO ARE NOT KNOWN TO BE DEAD OR ALIVE, WHETHER SAID UNKNOWN PARTIES MAY CLAIM AN INTEREST AS SPOUSES, HEIRS, DEVISEES, GRANTEES, OR OTHER CLAIMANTS are Defendants.

The Clerk of the Court, Jody Phillips will sell to the highest bidder for cash at www.duval.realforeclose.com on October 31, 2024 at 11:00:00 AM EST the following described real property as set forth in said Final Judgment, to wit: LOT 6, BLOCK 3, MONCRIEF HIGHLANDS, ACCORDING TO PLAT THEREOF AS RECORDED IN PLAT BOOK 18, PAGE 65, OF THE PUBLIC RECORDS OF DUVAL COUNTY, FLORIDA.

Any person claiming an interest in the surplus from the sale, if any, other than the property owner as of the date of the lis pendens must file a claim before the clerk reports the surplus as unclaimed. Americans With Disabilities Act (ADA) Notice In accordance with the Americans with Disabilities Act of 1990 (ADA), If you are a person with a disability who needs any accommodation in order to participate in this proceeding, you are entitled at no cost to you, to the provision of certain assistance. Please contact the ADA Coordinator at crtintrp@coj.net or (904) 2551695 at least 7 days before your scheduled court appearance, or immediately upon receiving this notification if the time before the scheduled appearance is less than 7 days; if you are hearing or voice impaired, call 711. WITNESS my hand and the seal of the court on August 22, 2024. JODY PHILLIPS CLERK OF THE COURT

By: Michael Wheeler Deputy Clerk (Court Seal)

ALDRIDGE PITE, LLP

Attorney for Plaintiff 5300 West Atlantic Avenue Suite 303 Delray Beach, FL 33484 Telephone: 561-392-6391 Facsimile: 561-392-6965 Primary E-Mail: ServiceMail@aldridgepite.com 1633-034B Aug. 29, Sep. 5 4 (24-05452D)

SECOND INSERTION IN THE CIRCUIT COURT FOR DUVAL COUNTY, FLORIDA PROBATE DIVISION

File No. 16-2024-CP-002000 Division PR-A IN RE: ESTATE OF MARTIN M. SCHULZ, Deceased.

NOTICE TO CREDITORS

The administration of the estate of MARTIN M. SCHULZ, deceased, whose date of death was April 19, 2024, is pending in the Circuit Court for Duval County, Florida, Probate Division, the address of which is 501 W. Adams Street, Room 1173, Jacksonville, Florida 32202. The names and addresses of the personal representative and the personal representative’s attorney are set forth below.

All creditors of the decedent and other persons having claims or demands against decedent’s estate, on whom a copy of this notice is required to be served, must file their claims with this court ON OR BEFORE THE LATER OF 3 MONTHS AFTER THE TIME OF THE FIRST PUBLICATION OF THIS NOTICE OR 30 DAYS AFTER THE DATE OF SERVICE OF A COPY OF THIS NOTICE ON THEM.

All other creditors of the decedent and other persons having claims or demands against decedent’s estate must file their claims with this court WITHIN 3 MONTHS AFTER THE DATE OF THE FIRST PUBLICATION OF THIS NOTICE.

The personal representative has no duty to discover whether any property held at the time of the decedent’s death by the decedent or the decedent’s surviving spouse is property to which the Florida Uniform Disposition of Community Property Rights at Death Act as described in ss. 732.216732.228, applies, or may apply, unless a written demand is made by a creditor as specified under s. 732.2211, Florida Statutes.

ALL CLAIMS NOT FILED WITHIN THE TIME PERIODS SET FORTH IN FLORIDA STATUTES SECTION 733.702 WILL BE FOREVER BARRED. NOTWITHSTANDING THE TIME PERIOD SET FORTH ABOVE, ANY CLAIM FILED TWO (2) YEARS OR MORE AFTER THE DECEDENT’S DATE OF DEATH IS BARRED.

The date of first publication of this notice is August 29, 2024. ELIZABETH SCHULZ SAWYER

Personal Representative: Rachel G. Grettum 2310 Kildane Way SE Olympia, WA 98501

Attorney for Personal Representative:

Hollyn J. Foster, Esq.

Florida Bar Number: 0020883

Bowers & Foster Elder Law, P. A. 6789 Southpoint Parkway, Suite 300 Jacksonville, FL 32216

Telephone: (904) 998-0724

Fax: (904) 998-0732

E-Mail: hfoster@bowersfoster.com

Secondary E-Mail: mford@bowersfoster.com Aug. 29, Sep. 5 4 (24-05440D)

Personal Representative 21 Hunt Street Reading, MA 01867

KYLE M. JOHNSON

Attorney for Personal Representative Florida Bar No. 98606

PURCELL, FLANAGAN, HAY & GREENE, P.A. 1548 Lancaster Terrace Jacksonville, Florida 32204 Telephone: (904) 355-0355 Telecopier: (904) 355-0820 Email: kjohnson@pfhglaw.com

Secondary Email: twood@pfhglaw.com rhinkle@pfhglaw.com Aug. 29, Sep. 5 4 (24-05438D)

SECOND INSERTION

IN THE CIRCUIT COURT IN AND FOR DUVAL COUNTY, FLORIDA PROBATE DIVISION FILE NO: 16-2024-CP-002254 DIVISION: PR-A IN RE: ESTATE OF LEE ROBERT EAKIN, DECEASED.

NOTICE TO CREDITORS

The administration of the estate of Lee Robert Eakin, deceased, whose date of death was July 3, 2024, is pending in the Circuit Court for Duval County, Florida, Probate Division, the address of which is 501 W. Adams Street, Jacksonville, FL 32202. The names and addresses of the personal representative and the personal representative’s attorney are set forth below.

All creditors of the decedent and other persons having claims or demands against decedent’s estate on whom a copy of this notice is required to be served must file their claims with this Court ON OR BEFORE THE LATER OF 3 MONTHS AFTER THE TIME OF THE FIRST PUBLICATION OF THIS NOTICE OR 30 DAYS AFTER THE DATE OF SERVICE OF A COPY OF THIS NOTICE ON THEM. All other creditors of the decedent and other persons having claims or demand against decedent’s estate must file their claims with this Court WITHIN 3 MONTHS AFTER THE DATE OF THE FIRST PUBLICATION OF THIS NOTICE.

ALL CLAIMS NOT FILED WITHIN THE TIME PERIODS SET FORTH IN FLORIDA STAT-

SECOND INSERTION

IN THE CIRCUIT COURT, FOURTH JUDICIAL CIRCUIT, IN AND FOR DUVAL COUNTY, FLORIDA PROBATE DIVISION CASE NO: 16-2024-CP-002370

DIVISION: PR-A IN RE: ESTATE OF WASHBURN WILLIAM WEAR III, Deceased.

NOTICE TO CREDITORS

The administration of the estate of WASHBURN WILLIAM WEAR III, deceased, whose date of death was May 23, 2024, is pending in the Circuit Court, for Duval County, Florida, Probate Division, the address of which is 501 W. Adams St., Jacksonville, Florida 32202. The names and addresses of the personal representatives and the personal representatives’ attorney are set forth below.

All creditors of the decedent and other persons having claims or demands against decedent’s estate on whom a copy of this notice is required to be served must file their claims with this court ON OR BEFORE THE LATER OF 3 MONTHS AFTER THE TIME OF THE FIRST PUBLICATION OF THIS NOTICE OR 30 DAYS AFTER THE DATE OF SERVICE OF A COPY OF THIS NOTICE ON THEM.

All other creditors of the decedent and other persons having claims or demands against decedent’s estate must file their claims with this court WITHIN 3 MONTHS AFTER THE DATE OF THE FIRST PUBLICATION OF THIS NOTICE. ALL CLAIMS NOT FILED WITHIN THE TIME PERIODS SET FORTH IN FLORIDA STATUTES SECTION 733.702 WILL BE FOREVER BARRED. NOTWITHSTANDING THE TIME PERIODS SET FORTH ABOVE, ANY CLAIM FILED TWO (2) YEARS OR MORE AFTER THE DECEDENT’S DATE OF DEATH IS BARRED.

A personal representative or curator has no duty to discover whether any property held at the time of the decedent’s death by the decedent or the decedent’s surviving spouse is property to which the Florida Uniform Disposition of Community Property Rights at Death Act as described in sections 732.216-732.228, applies, or may apply, unless a written demand is made by a creditor as specified under section 732.2211

The date of first publication of this Notice is August 29, 2024.

Personal Representatives: WASHBURN WILLIAM WEAR II COURTNEY L. WEAR 10641 SE 144th Place, Summerfield, Florida 34491

Attorney for Personal Representatives: ROBERT N. MILLER, ESQUIRE Florida Bar Number: 042102 Fisher, Tousey, Leas & Ball 501 Riverside Avenue, Suite 700 Jacksonville, Florida 32202 Telephone: (904) 356-2600 E-Mail: rmiller@fishertousey.com Aug. 29, Sep. 5 4 (24-05464D)

UTES SECTION 733.702 WILL BE FOREVER BARRED. NOTWITHSTANDING THE TIME PERIODS SET FORTH ABOVE, ANY CLAIM FILED TWO (2) YEARS OR MORE AFTER THE DECEDENT’S DEATH IS BARRED.

The personal representative has no duty to discover whether any property held at the time of the decedent’s death by the decedent or the decedent’s surviving spouse is property to which the Florida Uniform Disposition of Community Property Rights at Death Act as described in ss. 732.216732.228, Florida Statutes, applies, or may apply, unless a written demand is made by a creditor as specified under s. 732.2211, Florida Statutes.

The date of first publication of this notice is August 29, 2024. Personal Representative: Melanie J. Eakin c/o Berg Bryant Elder Law Group, PLLC

BERG BRYANT ELDER LAW GROUP

7545 Centurion Parkway, Suite 108 Jacksonville, FL 32256

Attorney for Personal Representative: Madeline A. Franson, Esq. Florida Bar Number:1049246 mfranson@bbelderlaw.com

BERG BRYANT ELDER LAW GROUP

7545 Centurion Parkway, Suite 108 Jacksonville, FL 32256 (904) 398-6100 Aug. 29, Sep. 5 4 (24-05441D)

SECOND

IN THE CIRCUIT COURT FOR DUVAL COUNTY, FLORIDA

PROBATE DIVISION File No. 16-2024-CP-001550

DIVISION: PR-B IN RE: ESTATE OF EUGENE JOHNSON MANNING, JR., Deceased.

NOTICE TO CREDITORS

The administration of the estate of EUGENE JOHNSON MANNING, JR., deceased, whose date of death was June 11, 2023, is pending in the Circuit Court for Duval County, Florida, Probate Division, the address of which is 501 West Adams Street, Room 1173, Jacksonville, Florida 32202. The names and addresses of the personal representative and the personal representative’s attorney are set forth below. All creditors of the decedent and other persons having claims or demands against decedent’s estate on whom a copy of this notice is required to be served must file their claims with this court ON OR BEFORE THE LATER OF 3 MONTHS AFTER THE TIME OF THE FIRST PUBLICATION OF THIS NOTICE OR 30 DAYS AFTER THE DATE OF SERVICE OF A COPY OF THIS NOTICE ON THEM. All other creditors of the decedent and other persons having claims or demands against decedent’s estate must file their claims with this court WITHIN 3 MONTHS AFTER THE DATE OF THE FIRST PUBLICATION OF THIS NOTICE. ALL CLAIMS NOT FILED WITHIN THE TIME PERIODS SET FORTH IN FLORIDA STATUTES SECTION 733.702 WILL BE FOREVER BARRED. NOTWITHSTANDING THE TIME PERIODS SET FORTH ABOVE, ANY CLAIM FILED TWO (2) YEARS OR MORE AFTER THE DECEDENT’S DATE OF DEATH IS BARRED. The personal representative has no duty to discover whether any property held at the time of the decedent’s death by the decedent or the decedent’s surviving spouse is property to which the Florida Uniform Disposition of Community Property Rights at Death Act as described in ss. 732.216732.228, Florida Statutes, applies, or may apply, unless a written demand is made by a creditor as specified under s. 732.2211, Florida Statutes. The date of first publication of this notice is August 29, 2024. Personal Representative: LISA GULLIAN 13316 Fandango Court Jacksonville, Florida 32225

Attorney for Personal Representative: NORBERTO S. KATZ, ESQUIRE Florida Bar No.: 399086 630 North Wymore Road, Suite 330 Maitland, Florida 32751

Telephone: (407) 849-7072

Fax: (407) 849-7075

E-Mail: velizkatz@velizkatzlaw.com

Secondary: kmorales@velizkatzlaw.com Aug. 29, Sep. 5 4 (24-05463D)

SECOND INSERTION IN THE CIRCUIT COURT OF THE FOURTH JUDICIAL CIRCUIT IN AND FOR DUVAL COUNTY, FLORIDA CIVIL ACTION CASE NO.: 16-2023-CA-009683 DIVISION: FC-F ATLANTICA, LLC, Plaintiff, vs. CLARA BRINKLEY, et al., Defendant(s). NOTICE OF FORECLOSURE SALE NOTICE IS HEREBY GIVEN that the undersigned Clerk of Court of Duval County, will on September 25, 2024 , at 11:00 am EST at: www.duval.realforeclose.com offer for sale and sell at public outcry to the highest and best bidder for cash, the following described property situate in Duval County, Florida: LOT EIGHT (8), BLOCK TEN (10), NORTH BROOKSIDE, ACCORDING TO PLAT RECORDED IN PLAT BOOK 6, PAGES 28 AND 28A, OF THE CURRENT PUBLIC RECORDS OF DUVAL COUNTY, FLORIDA, AND THE FIVE (5) FEET ABUTTING SAID LOT ON THE SOUTH AND FORMALLY PART OF A TEN (10) FOOT ALLEY NOW CLOSED BY ORDINANCE. PROPERTY ADDRESS: 952 ALDERSIDE STREET, JACKSONVILLE, FL 32208 pursuant to a Final Judgment of Foreclosure entered in Case No.

16-2023-CA-009683 of the Circuit Court of the Fourth Judicial Circuit in and for Duval County, Florida, the style of which is indicated above. Any person claiming an interest in the surplus from the sale, if any, other than the property owner as of the date of the Lis Pendens must file a claim before the Clerk reports the surplus as unclaimed. Americans With Disabilities Act (ADA) Notice In accordance with the Americans with Disabilities Act of 1990 (ADA), If you are a person with a disability who needs any accommodation in order to participate in this proceeding, you are entitled at no cost to you, to the provision of certain assistance. Please contact the ADA Coordinator at crtintrp@coj.net or (904) 255-1695 at least 7 days before your scheduled court appearance, or immediately upon receiving this notification if the time before the scheduled appearance is less than 7 days; if you are hearing or voice impaired, call 711.

WITNESS MY HAND and seal of this Court on August 22, 2024. JODY PHILLIPS Clerk of the Circuit Court By: Joy E. Rodriguez Deputy Clerk (Court Seal) Law Offices of Damian G. Waldman, Esq. PO Box 5162 Largo, FL 33779

PUBLIC NOTICES

SECOND INSERTION

THE CIRCUIT COURT FOR DUVAL COUNTY, FLORIDA

PROBATE DIVISION

File No. 16-2024-CP-002386

Division PR-A

IN RE: ESTATE OF JOSEPH ALEXANDER TOTH, JR

Deceased. NOTICE TO CREDITORS

The administration of the estate of JOSEPH ALEXANDER TOTH, JR., deceased, whose date of death was July 21, 2024, is pending in the Circuit Court for Duval County, Florida, Probate Division, the address of which is 501 W Adams Street, Jacksonville, FL 32202. The names and addresses of the personal representative and the personal representative’s attorney are set forth below.

All creditors of the decedent and other persons having claims or demands against decedent’s estate on whom a copy of this notice is required to be served must file their claims with this court ON OR BEFORE THE LATER OF 3 MONTHS AFTER THE TIME OF THE FIRST PUBLICATION OF THIS NOTICE OR 30 DAYS AFTER THE DATE OF SERVICE OF A COPY OF THIS NOTICE ON THEM.

The personal representative has no duty to discover whether any property held at the time of the decedent’s death by the decedent or the decedent’s surviving spouse is property to which the Florida Uniform Disposition of Community Property Rights at Death Act as described in ss. 732.216732.228, Florida Statutes, applies, or may apply, unless a written demand is made by a creditor as specified under s. 732.2211, Florida Statutes. All other creditors of the decedent and other persons having claims or demands against decedent’s estate must file their claims with this court WITHIN 3 MONTHS AFTER THE DATE OF THE FIRST PUBLICATION OF THIS NOTICE. ALL CLAIMS NOT FILED WITHIN THE TIME PERIODS SET FORTH IN FLORIDA STATUTES SECTION 733.702 WILL BE FOREVER BARRED. NOTWITHSTANDING THE TIME PERIODS SET FORTH ABOVE, ANY CLAIM FILED TWO (2) YEARS OR MORE AFTER THE DECEDENT’S DATE OF DEATH IS BARRED.

The date of first publication of this notice is August 29, 2024.

Personal Representative: Joseph A. Toth 152 Scenic Ridge Drive Hummelstown, Pennsylvania 17036

Attorney for Personal Representative: Markus A. Sermons

Florida Bar Number: 74420 1543 Kingsley Avenue, Suite 18-B Orange Park, Florida 32073

Telephone: (904) 541-6492

Fax: (904) 637-7144

E-Mail: Mark@sermonsfirm.com Aug. 29, Sep. 5 3 (24-05437D)

SECOND INSERTION

IN THE CIRCUIT COURT FOR DUVAL COUNTY, FLORIDA PROBATE DIVISION

File No. 16-2024-CP-002092

Division PR-A IN RE: ESTATE OF WILMER L JONES III

Deceased.

NOTICE TO CREDITORS

The administration of the estate of Wilmer L Jones III, deceased, whose date of death was August 23, 2023, is pending in the Circuit Court for Duval County, Florida, Probate Division, the address of which is 501 W Adams Street, Jacksonville, FL 32202. The names and addresses of the personal representative and the personal representative’s attorney are set forth below.

All creditors of the decedent and other persons having claims or demands against decedent’s estate on whom a copy of this notice is required to be served must file their claims with this court ON OR BEFORE THE LATER OF 3 MONTHS AFTER THE TIME OF THE FIRST PUBLICATION OF THIS NOTICE OR 30 DAYS AFTER THE DATE OF SERVICE OF A COPY OF THIS NOTICE ON THEM.

The personal representative has no duty to discover whether any property held at the time of the decedent’s death by the decedent or the decedent’s surviving spouse is property to which the Florida Uniform Disposition of Community Property Rights at Death Act as described in ss. 732.216732.228, Florida Statutes, applies, or may apply, unless a written demand is made by a creditor as specified under s. 732.2211, Florida Statutes.

All other creditors of the decedent and other persons having claims or demands against decedent’s estate must file their claims with this court WITHIN 3 MONTHS AFTER THE DATE OF THE FIRST PUBLICATION OF THIS NOTICE.

ALL CLAIMS NOT FILED WITHIN THE TIME PERIODS SET FORTH IN FLORIDA STATUTES SECTION 733.702 WILL BE FOREVER BARRED.

NOTWITHSTANDING THE TIME PERIODS SET FORTH ABOVE, ANY CLAIM FILED TWO (2) YEARS OR MORE AFTER THE DECEDENT’S DATE OF DEATH IS BARRED.

The date of first publication of this notice is August 29, 2024

Personal Representative: Judith Pacheco 2519 Whispering Woods Boulevard, Apt 3 Jacksonville, Florida 32246

Attorney for Personal Representative: Sara Jessica Farmer

Attorney Florida Bar Number: 1032326 Jacksonville Area Legal Aid 126 W Adams Street Jacksonville, Florida 32202 Aug. 29, Sep. 5 3 (24-05436D)

SECOND INSERTION

IN THE CIRCUIT COURT, FOURTH JUDICIAL CIRCUIT, IN AND FOR DUVAL COUNTY, FLORIDA

PROBATE DIVISION CASE NO.: 16-2024-CP-002421

DIVISION: PR-B IN RE THE ESTATE OF ROSALIND ELSON, Deceased. NOTICE TO CREDITORS

The Estate of ROSALIND ELSON, deceased, Case Number 16-2024-CP-002421, has been summarily administered in the Circuit Court for Duval County, Florida, Probate Division, the address of which is 501 West Adams Street, Jacksonville, Florida 32202. The names and addresses of the petitioners and petitioners’ attorney are set forth below.

ALL INTERESTED PERSONS ARE NOTIFIED THAT:

The total value of this estate is $195,769.00 of which $195,769.00 is exempt as homestead real property and exempt personal property valued less than $10,000.00. The names and addresses of the heirs of the estate are: David Schmidt, 3605 Forest Boulevard, Jacksonville, FL 32246 All creditors of the decedent and other persons having claims or demands against decedent’s estate, including unmatured, contingent or unliquidated claims, on whom a copy of this notice is served must file their claims with this court WITHIN THE LATER OF THREE (3) MONTHS AFTER THE DATE OF THE FIRST PUBLICATION OF THIS NOTICE OR THIRTY (30) DAYS AFTER THE DATE OF SERVICE OF A COPY OF THIS NOTICE

SECOND INSERTION

NOTICE

Extra Space Storage, on behalf of itself or its affiliates, Life Storage or Storage Express, will hold a public auction to sell personal property described below belonging to those individuals listed below at the location indicated:

5017 Bowden Rd Jacksonville Fl 32216 09/17/2024 @ 11a.m.

Reginald Mckeiver - House Goods

Tyre Curry - House Goods

Ronnie Morell - House Goods

Roderick Daniel Jr - House Good

Robbie Jackson - House Goods

LaTisha Kates - House Goods

Eugenia Calloway - House Goods

The auction will be listed and advertised on www.storagetreasures.com. Purchases must be made with cash only and paid at the above referenced facility in order to complete the transaction.

Extra Space Storage may refuse any bid and may rescind any purchase up until the winning bidder takes possession of the personal property.

Aug. 29, Sep. 5 3 (24-05420D)

SECOND INSERTION

NOTICE

Extra Space Storage, on behalf of itself or its affiliates, Life Storage or Storage Express, will hold a public auction to sell personal property described below belonging to those individuals listed below at the location indicated:

340 S Myrtle ave Jacksonville, Fl. 32204, 9/17/2024 at 10:00 am

Malik Boothe Household Goods

Crystal Joyner Household Goods

Kelvin Brown Household Goods

Eloise Goins Household Goods

Michael Fulmore Miscellaneous Items Latressa Allen Boxes

The auction will be listed and advertised on www.storagetreasures.com. Purchases must be made with cash only and paid at the above referenced facility in order to complete the transaction.

Extra Space Storage may refuse any bid and may rescind any purchase up until the winning bidder takes possession of the personal property.

Aug. 29, Sep. 5 3 (24-05416D)

SECOND INSERTION

IN THE COUNTY COURT OF THE FOURTH JUDICIAL CIRCUIT, IN AND FOR DUVAL COUNTY, FLORIDA CASE NO.: 16-2024-CC-005120 DIVISION: CC-O ST JAMES PLACE COMMUNITY ASSOCIATION, INC., a Florida non-profit corporation, Plaintiff, v. VANESSA C WILLIAMS, et al., Defendants.

NOTICE OF ACTION TO: Vanessa C Williams, Unknown Spouse of Vanessa Williams, Unknown Tenant #1 and Unknown Tenant #2 Last Known Address: 9092 Gloucestershire Court, Jacksonville, Florida 32219 Current Address: Unknown ANY AND ALL UNKNOWN PARTIES CLAIMING BY, THROUGH, UNDER, AND AGAINST THE HEREIN NAMED INDIVIDUAL DEFENDANT(S) WHO ARE NOT KNOWN TO BE DEAD OR ALIVE, WHETHER SAID UNKNOWN PARTIES MAY CLAIM AN INTEREST AS SPOUSES, HEIRS, DEVISEES, GRANTEES, OR OTHER CLAIMANTS

YOU ARE NOTIFIED that an action to enforce a lien on the following property in Duval County, Florida: Lot 38, of St. James Place Unit Three, according to the Plat thereof, as recorded in Plat Book 64, at Page 9 through 16, inclusive, of the Public Records of Duval County, Florida.

A/K/A - 9092 Gloucestershire Court, Jacksonville, Florida 32219 has been filed against you and

ON THEM.

All other creditors of the decedent and persons having claims or demands against the decedent’s estate, including unmatured, contingent or unliquidated claims, must file their claims with this court WITHIN THREE MONTHS AFTER THE DATE OF THE FIRST PUBLICATION OF THIS NOTICE. IN NO EVENT SHALL ANY CLAIM BE FILED LATER THAN TWO YEARS AFTER THE DECEDANT’S DATE OF DEATH. ALL CLAIMS AND DEMANDS NOT SO FILED WILL BE FOREVER BARRED. The personal representative has no duty to discover whether any property held at the time of the decedent’s death by the decedent or the decedent’s surviving spouse is property to which the Florida Uniform Disposition of Community Property Rights at Death Act as described in ss. 732.216732.228, Florida Statutes, applies, or may apply, unless a written demand is made by a creditor as specified under s. 732.2211, Florida Statutes.

The date of the decedent’s death is February 28, 2023. The date of first publication of this notice is August 29, 2024. David Schmidt, Petitioner 3605 Forest Boulevard Jacksonville, FL 32246

William S. Frazier, Esquire 1919 Blanding Blvd., Ste. 8 Jacksonville, Fla. 32210

Telephone: 904/384-1441

Facsimile: 904/384-4868 Fla. Bar 0080373

Attorneys for Petitioner Aug. 29, Sep. 5 3 (24-05439D)

IN THE CIRCUIT COURT OF THE 4TH JUDICIAL CIRCUIT IN AND FOR DUVAL COUNTY, FLORIDA Case No.: 16-2024-CA-002576 Division: FC-E

WILMINGTON SAVINGS FUND SOCIETY, FSB, AS TRUSTEE OF STANWICH MORTGAGE LOAN TRUST I, Plaintiff, v. ANGELA RUSH; UNKNOWN SPOUSE OF ANGELA RUSH; KINGSMILL HOMEOWNERS ASSOCIATION OF JACKSONVILLE, INC.; TBF FINANCIAL, LLC; ALL UNKNOWN PARTIES CLAIMING INTERESTS BY, THROUGH, UNDER OR AGAINST A NAMED DEFENDANT TO THIS ACTION, OR HAVING OR CLAIMING TO HAVE ANY RIGHT, TITLE OR INTEREST IN THE PROPERTY HEREIN DESCRIBED; UNKNOWN TENANT #1; UNKNOWN TENANT #2, Defendant.

NOTICE OF ACTION

To the following Defendant(s):

Angela Rush

11838 LAKE BEND CIRCLE

JACKSONVILLE, FL 32218

Unknown Spouse of Angela Rush 11838 LAKE BEND CIRCLE

JACKSONVILLE, FL 32218

Unknown Tenant #1 11838 LAKE BEND CIRCLE

JACKSONVILLE, FL 32218

Unknown Tenant #2 11838 LAKE BEND CIRCLE

JACKSONVILLE, FL 32218

YOU ARE NOTIFIED that an action for Foreclosure of Mortgage on the following described property: LOT 42, KINGSMILL, ACCORDING TO THE PLAT THEREOF, AS RECORDED IN PLAT BOOK 57, PAGE 95,

IN THE CIRCUIT COURT OF THE FOURTH JUDICIAL CIRCUIT IN AND FOR DUVAL COUNTY, FLORIDA CASE No. 16-2024-CA-001321

DIVISION: FC-G

WELLS FARGO BANK, N.A., AS INDENTURE TRUSTEE FOR THE REGISTERED HOLDERS OF IMH ASSETS CORP., COLLATERALIZED ASSET-BACKED BONDS, SERIES 2005-2, Plaintiff, VS. MELONESE L. ELLIOTT; UNKNOWN TENANT #1 N/K/A PAUL SEYMOUR ELLIOTT; UNKNOWN TENANT #2 N/K/A TRACI WATERS; ANY AND ALL UNKNOWN PARTIES CLAIMING BY, THROUGH, UNDER AND AGAINST THE HEREIN NAMED INDIVIDUAL DEFENDANT(S) WHO ARE NOT KNOWN TO BE DEAD OR ALIVE, WHETHER SAID UNKNOWN PARTIES MAY CLAIM AN INTEREST AS SPOUSES, HEIRS, DEVISEES, GRANTEES, OR OTHER CLAIMANTS Defendant(s).

NOTICE OF FORECLOSURE SALE

you are required to serve a copy of your written defenses, if any, within thirty (30) days after the first publication of this Notice, on David D. Rottmann, the plaintiff’s attorney, whose address is 136 East Bay Street, Jacksonville, FL 32202, and file the original with the clerk of this court either before service on the plaintiff’s attorney or immediately thereafter; otherwise a default will be entered against you for the relief demanded in the complaint or petition.

This Notice shall be published once each week for two consecutive weeks in the Jacksonville Daily Record.

Americans With Disabilities Act (ADA) Notice In accordance with the Americans with Disabilities Act of 1990 (ADA), If you are a person with a disability who needs any accommodation in order to participate in this proceeding, you are entitled at no cost to you, to the provision of certain assistance. Please contact the ADA Coordinator at crtintrp@coj.net or (904) 2551695 at least 7 days before your scheduled court appearance, or immediately upon receiving this notification if the time before the scheduled appearance is less than 7 days; if you are hearing or voice impaired, call 711.

WITNESS my hand and the seal of this court on the 22nd day of August, 2024.

JODY PHILLIPS CLERK OF THE CIRCUIT COURT

By: Alice V. Griffin As Deputy Clerk (Court Seal) David D. Rottmann, Esq. Coker Law 136 East Bay Street Jacksonville, FL 32202 Aug. 29, Sep. 5 3 (24-05449D)

95A, 95B, AND 95C, INCLUSIVE, OF THE CURRENT PUBLIC RECORDS OF DUVAL COUNTY, FLORIDA. a/k/a 11838 Lake Bend Circle, Jacksonville, FL 32218 has been filed against you and you are required to serve a copy of your written defenses, if any, upon Kelley Kronenberg, Attorney for Plaintiff, whose address is 10360 West State Road 84, Fort Lauderdale, FL 33324 within thirty (30) days after the first publication of this Notice in Jacksonville Daily Record and file the original with the Clerk of this Court either before service on Plaintiff's attorney or immediately thereafter; otherwise a default will be entered against you for the relief demanded in the complaint. This notice is provided pursuant to Administrative Order No. 2.065.

Americans With Disabilities Act (ADA) Notice

In accordance with the Americans with Disabilities Act of 1990 (ADA), If you are a person with a disability who needs any accommodation in order to participate in this proceeding, you are entitled at no cost to you, to the provision of certain assistance. Please contact the ADA Coordinator at crtintrp@coj.net or (904) 2551695 at least 7 days before your scheduled court appearance, or immediately upon receiving this notification if the time before the scheduled appearance is less than 7 days; if you are hearing or voice impaired, call 711. WITNESS my hand and the seal of this Court this 22nd day of August, 2024.

JODY PHILLIPS

PURSUANT TO CHAPTER 45 NOTICE IS HEREBY GIVEN that sale will be made pursuant to an Order or Final Judgment. Final Judgment was awarded on August 16, 2024 in Civil Case No. 16-2024-CA001321, of the Circuit Court of the FOURTH Judicial Circuit in and for Duval County, Florida, wherein, WELLS FARGO BANK, N.A., AS INDENTURE TRUSTEE FOR THE REGISTERED HOLDERS OF IMH ASSETS CORP., COLLATERALIZED ASSET-BACKED BONDS, SERIES 2005-2 is the Plaintiff, and MELONESE L. ELLIOTT; UNKNOWN TENANT #1 N/K/A PAUL SEYMOUR ELLIOTT; UNKNOWN TENANT #2 N/K/A TRACI WATERS; ANY AND ALL UNKNOWN PARTIES CLAIMING BY, THROUGH, UNDER AND AGAINST THE HEREIN NAMED INDIVIDUAL DEFENDANT(S) WHO ARE NOT KNOWN TO BE DEAD OR ALIVE, WHETHER SAID UNKNOWN PARTIES

IN THE CIRCUIT COURT OF THE FOURTH JUDICIAL CIRCUIT IN AND FOR DUVAL COUNTY, FLORIDA CIVIL DIVISION Case #: 16-2013-CA-002861

DIVISION: FC-D

U.S. Bank National Association, as Trustee, successor in interest to Bank of America, National Association as Trustee as successor by merger to LaSalle Bank National Association, as Trustee for Certificateholders of Bear Stearns Asset Backed Securities I LLC, Asset-Backed Certificates, Series 2006-HE2 Plaintiff, -vs.Johnny Lee Hill a/k/a Johnny Hill and Janice G. Porter Hill a/k/a Janice Govan Hill a/k/a Janice Hill; Catherine Davis a/k/a Catharine Davis; Unknown Spouse of Johnny Lee Hill a/k/a Johnny Hill; Unknown Spouse of Janice G. Porter Hill a/k/a Janice Govan Hill a/k/a Janice Hill; State of Florida Department of Revenue; Sea Breeze Food Srv., Inc; Mortgage Electronic Registration Systems, Inc. as Nominee for Bayrock Mortgage Corporation; Ocean 18, LLC; Cherokee Cove Homeowners Association, Inc.; Unknown Parties in Possession #1, If living, and all Unknown Parties claiming by, through, under and against the above named Defendant(s) who are not known to be dead or alive, whether said Unknown Parties may claim an interest as Spouse, Heirs, Devisees, Grantees, or Other Claimants; Unknown Parties in Possession #2, If living, and all Unknown Parties claiming by, through, under and against the above named Defendant(s) who are not known to be dead or alive, whether said Unknown Parties may claim an interest as Spouse, Heirs, Devisees, Grantees, or Other Claimants Defendant(s).

NOTICE OF SALE NOTICE IS HEREBY GIVEN pursuant to order rescheduling foreclosure sale or Final Judgment, entered in Civil Case No. 16-2013-CA-002861 of the Circuit Court of the 4th Judicial Circuit in and for Duval County, Florida, wherein U.S. Bank National Association, as Trustee, successor in interest to Bank of America, National Association as Trustee as successor by merger to LaSalle Bank National Association, as

MAY CLAIM AN INTEREST AS SPOUSES, HEIRS, DEVISEES, GRANTEES, OR OTHER CLAIMANTS are Defendants. The Clerk of the Court, Jody Phillips will sell to the highest bidder for cash at www.duval.realforeclose.com on September 19, 2024 at 11:00:00 AM EST the following described real property as set forth in said Final Judgment, to wit: LOT 15, BLOCK 27, HARBOR VIEW UNIT NINE, ACCORDING TO PLAT THEREOF AS RECORDED IN PLAT BOOK 31, PAGES 17 AND 17A, OF THE CURRENT PUBLIC RECORDS OF DUVAL COUNTY, FLORIDA. Any person claiming an interest in the surplus from the sale, if any, other than the property owner as of the date of the lis pendens must file a claim before the clerk reports the surplus as unclaimed. Americans With Disabilities Act (ADA) Notice In accordance with the Americans with Disabilities Act of 1990 (ADA), If you are a person with a disability who needs any accommodation in order to participate in this proceeding, you are entitled at no cost to you, to the provision of certain assistance. Please contact the ADA Coordinator at crtintrp@coj.net or (904) 2551695 at least 7 days before your scheduled court appearance, or immediately upon receiving this notification if the time before the scheduled appearance is less than 7 days; if you are hearing or voice impaired, call 711. WITNESS my hand and the seal of the court on August 22, 2024. JODY PHILLIPS CLERK OF THE COURT By: Joy E. Rodriguez Deputy Clerk (Court Seal)

ALDRIDGE PITE, LLP Attorney for Plaintiff 5300 West Atlantic Avenue Suite 303 Delray Beach, FL 33484 Telephone: 561-392-6391

Facsimile: 561-392-6965 Primary E-Mail: ServiceMail@aldridgepite.com 1221-15848B Aug. 29, Sep. 5 3 (24-05451D)

Trustee for Certificateholders of Bear Stearns Asset Backed Securities I LLC, Asset-Backed Certificates, Series 2006-HE2, Plaintiff and Johnny Lee Hill a/k/a Johnny Hill and Janice G. Porter Hill a/k/a Janice Govan Hill a/k/a Janice Hill are defendant(s), I, Clerk of Court, Jody Phillips, will sell to the highest and best bidder for cash AT: www.duval.realforeclose.com AT 11:00AM on October 8, 2024, the following described property as set forth in said Final Judgment, to-wit: LOT 22, CHEROKEE COVE, AS PER PLAT THEREOF, AS RECORDED IN PLAT BOOK 57, PAGE 74, 74A-74F, PUBLIC RECORDS OF DUVAL COUNTY, FLORIDA ANY PERSON CLAIMING AN INTEREST IN THE SURPLUS FROM THE SALE, IF ANY, OTHER THAN THE PROPERTY OWNER AS OF THE DATE OF THE LIS PENDENS MUST FILE A CLAIM NO LATER THAN THE DATE THAT THE CLERK REPORTS THE FUNDS AS UNCLAIMED. Americans With Disabilities Act (ADA) Notice In accordance with the Americans with Disabilities Act of 1990 (ADA), If you are a person with a disability who needs any accommodation in order to participate in this proceeding, you are entitled at no cost to you, to the provision of certain assistance. Please contact the ADA Coordinator at crtintrp@coj.net or (904) 2551695 at least 7 days before your scheduled court appearance, or immediately upon receiving this notification if the time before the scheduled appearance is less than 7 days; if you are hearing or voice

SECOND INSERTION

NOTICE Notice is hereby given that on September 10th, 2024. Storagetreasures.com Executive administrator for U-Haul company of Northern Florida, will be offering for sale under the judicial lien process; by public auction; the following storage units. Household goods are stored at the U-Haul center located at 9411 Atlantic Blvs. Jacksonville Fl 32225 Duval

Forrest Tooley B814

$722.30

$1,095.90

alex wiggins B010

malcolm Davis B712 $878.06

Venicia Dawson B061 $615.86

Ashbert Lloyd B640 $499.80

thomas collins B703 $576.11

RHONDA GARRETT B683 $657.00

Charles Brown B387 $482.10

Aldin Leesaca B626 $554.06

Anthony jackson B419 $190.50

JEFFREY CHRISTOPHER

OWENS A021 $722.80

Shandell Gore B350 $1,127.05

Curtis Fuller B055 $673.25

Skyler Altman B340 $1,602.85

Demetrius Kale B809 $446.80

shawn behner B403 $536.55

Cameron Bartley B138 $1,110.81

David Wallace B671 $771.39

CARMEN GONZALEZ

B041 $983.45

Curtis Fuller B054 $673.25

Henrry Luzardo B410 $191.75

kesha jackson B188 $851.34

RHONDA GARRETT B353 $528.80

JEFFREY

Andrew Crawford B760 $615.86

Diana Dukes B725 $359.61

tavarn Downing B720 $261.36

Gladys Cummings B472 $691.59

ANNIE CHURCHWELL B484 $394.04

SAMSON WERKU B004 $963.64

Corina Salinas B321 $525.56

Thomas C Kando B625 $576.11

U-Haul company does reserve the right to refuse bids. The sale will begin Friday 09/06/2024 @ 9am and continue until Tuesday 09/10/2024 @ 9am.

Aug. 29, Sep. 5 2 (24-05425D)

SECOND INSERTION

NOTICE

Extra Space Storage, on behalf of itself or its affiliates, Life Storage or Storage Express, will hold a public auction to sell personal property described below belonging to those individuals listed below at the location indicated: 1515 Manotak Ave Jacksonville FL 32210, Sept 17 2024 @ 11am

Jamie Ferrierhousehold goods, clothes, boxes, Carmichael Collinshousehold goods, appliances, electronics, boxes

Alicia BarrellaBoxes, Table , electronics, Elorith Sanders-Household Goods/Furniture, TV/Stereo Equipment, Tools/Appliances

Tina Thomas-Household Goods/ Furniture, TV/Stereo Equipment, Tools/Appliances

Anjaleke SimsBoxes, household goods Syndia Harris-2Tv furniture, 2 bed rooms sets, lamps, clothes

Ashley Tehandon-household goods , Christmas items

Tamara DossHousehold Goods/Furniture

Kiara Jones-2 bedroom apartment-household items

Idrissa SoumaoraHousehold goods.

Darian Boggs-households goods, cleaning supplies, electronics, appliances, boxes

Elsie Harris-Household Goods/ Furniture, TV/Stereo Equipment

Juanita WillisHousehold Goods/Furniture

Harry Williams Jr Enterprises

Inc.-Household Goods/Furniture, Tools/Appliances, Office Furn/ Machines/Equip

Julie Ferrell-Household Goods/ Furniture, TV/Stereo Equipment, Tools/Appliances, Office Furn/ Machines/Equip, Landsc

Elizabeth Watsonhousehold furniture

Susan BrooksHousehold Goods/Furniture

The auction will be listed and advertised on www.storagetreasures.com. Purchases must be made with cash only and paid at the above referenced facility in order to complete the transaction. Extra

SECOND INSERTION

NOTICE

Extra Space Storage, on behalf of itself or its affiliates, Life Storage or Storage Express, will hold a public auction to sell personal property described below belonging to those individuals listed below at the location indicated: 6611 Southpoint Parkway, Jacksonville, FL 32216 on Tuesday, September 17th, 2024 at 12:30 PM

Williaeshia HolmesHousehold items Nicole Greene- Household goods Harris Janitorial Services LLCCleaning business supplies

The auction will be listed and advertised on www.storagetreasures.com. Purchases must be made with CASH ONLY and paid at the above referenced facility in order to complete the transaction.

Extra Space Storage may refuse any bid and may rescind any purchase up until the winning bidder takes possession of the personal property Aug. 29, Sep. 5 2 (24-05423D)

SECOND INSERTION

NOTICE Extra Space Storage, on behalf of itself or its affiliates, Life Storage or Storage Express, will hold a public auction to sell personal property described below belonging to those individuals listed below at the location indicated: 9239 103rd Street Jacksonville, Fl 32210 09/17/ 2024 @ 11:00

AM Avianna GreenBaby stuff, clothes Jaquelle Stinson -king bed, dressers, living room suite Adrinnie Worley- kitchen items, household items, clothes, bed set La’kia Nicole RobertsHousehold Goods

The Lawn DesignerHousehold Goods, furniture Parker Linn- boxes

LIZTELLIST PUNCH -Clothes

LaRae Dickerson -Furniture

The auction will be listed and advertised on www.storagetreasures.com. Purchases must be made with cash only and paid at the above referenced facility in order to complete the transaction.

Extra Space Storage may refuse any bid and may rescind any purchase up until the winning bidder takes possession of the personal property.

Aug. 29, Sep. 5 2 (24-05417D)

SECOND INSERTION

NOTICE

Notice is hereby given that on September 10th, 2024. Storagetreasures.com Executive administrator for U-Haul company of Northern Florida, will be offering for sale under the judicial lien process; by public auction; the following storage units. Household goods are stored at the U-Haul center located at 5481 Normandy Blvd. Jacksonville Fl 32205 Duval

Courtney Anderson 1082 $985.24

Bernard White 2112 $1,290.85

Lillie Rivers 2058 $840.06

lisa smith 1033 $1,381.55

Teletha Weaver 0980 $708.34

kimberly Crowell 1058 $772.59

JASMINE JACKSON

R0116 $887.60

Teri Prescott 1086 $1,133.86

Steven Harris B0109 $609.00

JESSICA GOODWIN 0861 $815.60

NISHA SMITH R0139 $887.60

Roberto Martinez Chavez 2009 $594.75

Michael May 1226 $1,173.90

NIA BEYAH 0955 $1,381.84

jarell mcgee 1062 $829.86

louis burnard 1269 $1,317.85

germaine haynes U2000 $688.95

Ta’shae Roundheart 1245 $779.40

DOUGLAS DANNER 0990 $950.45

Alice WINNEY 2048 $537.95

Y Nguyen 2026 $612.71

Michael Hawkins 1001 $869.80

sabrina jones 0824 $539.50

Elexis Mathis 1055 $1,130.24

Kamirya Prince U1987 $697.00

Camille Brown 1170 $890.74

Yolanda Floyd B0110 $672.30

Courtney Campbefll

R0149 $1,934.81

Shirley Bellamy 0836 $371.74

Ernest Muller R0113 $554.50

Kathleen Hicks 1236 $919.70

Darrell Briscoe R0145 $1,016.70

rodney johnson U1999 $614.34

Johnnie Lewis 1256 $1,117.00

STANLEY SMITH 1051 $932.25

Alberta Cullins 2014 $530.61

Rachel Houston 2106 $485.46

Laquesha Francis R0107 $942.00

Latonya Reddick 1020 $950.4

NIA BEYAH 1208 $1,247.04

SECOND INSERTION

NOTICE

Extra Space Storage, on behalf of itself or its affiliates, Life Storage or Storage Express, will hold a public auction to sell personal property described below belonging to those individuals listed below at the location indicated:

100 Girvin Rd, Jacksonville FL, 32225 September 17, 2024 at 12:00pm. Tomasina Livermon-

2 beds, 2 tv’s, bags of clothes. Peggy Dangler-

Blue 2006 Chevy Silverado

Christopher McGilll- Households goods, boxes, patio set

Christopher McGilll- Household Goods And Tools

The auction will be listed and advertised on www.storagetreasures.com. Purchases must be made with cash only and paid at the above referenced facility in order to complete the transaction.

Extra Space Storage may refuse any bid and may rescind any purchase up until the winning bidder takes possession of the personal property.

Aug. 29, Sep. 5 2 (24-05422D)

SECOND INSERTION

NOTICE

Extra Space Storage, on behalf of itself or its affiliates, Life Storage or Storage Express, will hold a public auction to sell personal property described below belonging to those individuals listed below at the location indicated: 7657 103rd St Jacksonville, FL 32210, September 17th at 11:00AM

Strother Davis - Boxes

Lorea Ann WakefieldFurnishings from 2 bedrm apartment

Amber WallaceCouches, Dressers

Richaard Jordancontents of 2 BR Apt

Timuquana RogersClothes, personal items

William WeightmanHousehold Goods/Furniture

LESA YORKmattress , bed, 2 boxes

Shondria IszardHousehold Goods/Furniture

Jaezza FordHousehold Goods/Furniture

John Smithboxes of personal items, dishes, Leyia Abraham - household good

The auction will be listed and advertised on www.storagetreasures.com. Purchases must be made with cash only and paid at the above referenced facility in order to complete the transaction.

Extra Space Storage may refuse any bid and may rescind any purchase up until the winning bidder takes possession of the personal property. Aug. 29, Sep. 5 2 (24-05424D)

SECOND INSERTION

NOTICE

Notice is hereby given that on September 10th, 2024. Storagetreasures.com Executive administrator for U-Haul company of Northern Florida, will be offering for sale under the judicial lien process; by public auction; the following storage units. Household goods are stored at the U-Haul center located at 3435 Phillips Hwy. Jacksonville Fl 32207 Duval Zarion Ferguson D102 $1,136.65

Desirae pollard C400 $808.22

Michaelena Lee C441 $750.70

KIMBERLY LONG D309 $868.15

Amy Roberts C458 $1,591.95

FREDY ALVARADO C302 $305.27

Ana Allen C219 $693.37

EDNA GRIJALVA C419 $546.50

APRIL LESLIE C477 $828.15

Billy Williams D241 $805.25

wesley griffin D255 $875.80

Heather Sutherland C501 $353.77

MICHAEL DOBSON C200 $968.25

REGINALD MCKEIVER C131 $640.35

Joshua Seward D004 $1,589.70

Edna Grijalva D035 $817.42

terry ingram C175 $1,389.17

REBECKA EDMONDS C024 $1,375.30

Robert Grissett C508 $821.05

Joey Braxton D271 $1,296.50

Mason Moton C398 $986.87

Pamela Rusher C463 $301.42

KIMBERLY LONG C480 $629.40

Sheneka Brooks C428 $1,212.05

david halter D014 $776.55

TRE’KEL SIMPSON D106 $1,114.25

MILTON WILLIAMS C462 $280.20

marcus courtney C390 $1,028.17

Caene Turner E016 $528.12

SECOND INSERTION

NOTICE

Extra Space Storage, on behalf of itself or its affiliates, Life Storage or Storage Express, will hold a public auction to sell personal property described below belonging to those individuals listed below at the location indicated: 3780 Kori Rd, Jacksonville, FL 32257, on September 17th 2024 at 09:30am.

Santos RodriguezHousehold Goods Ivy Prior - Boxes

The auction will be listed and advertised on www.storagetreasures.com. Purchases must be made with cash only and paid at the above referenced facility in order to complete the transaction. Extra Space Storage may refuse any bid and may rescind any purchase up until the winning bidder takes possession of the personal property.

Aug. 29, Sep. 5 2 (24-05418D)

SECOND INSERTION

Notice of Public Sale

Notice is given that Jacksonville Self Storage auction be held Pursuant to FL Statue 3.801-83.809713.78 on September 24, 2024 at 9:30am www.storagetreasures. com

All good and personal property heretofore stored with the undersigned will be sold to the highest bidder or will otherwise be disposed of to satisfy the owner’s line. Terms of Sale: Cash Only: all sales are final; management reserves the right to withdraw any units from sale or refuse any offer or bid. UNITS CONSISTING OF HOUSEHOLD GOODS UNLESS OTHERWISE NOTED. A35 Racheal Ashley, A136 Kim Jackson, A209 Tiffany Williams, A237 Teir Brown, A313 Tiffany Williams, A318 Benjamin McDonald, A324 Merceda Carol Key, A347 Jacquee R’ James, A405 Rhonda Mitchell, B11 Felecia Lindsey, B35 Marcell Senior, B57 Andy Turner, B62 April Jimerson, B63 Susan Hardy, C25 Sandra Clayton, C104 Deloris Wilson, D24 Christine Hester, D26 Adrian Holman, D108 Shalanda Williams, D171 Sharone Hervey, E101 Balisa Hutto, E109 Mikinzi Robinson, E111 Adrienne Kelly, E166 Octavial Robison, F116 Tia Purdy, F301 Jamari Jones, F302 Latrina Wright, F308 Tajuana Ravnell, G33 Tia Marie Harris, G44 Christopher Salter, G120 Tania Mechling, G219 Sharita Rosemond, G306 Kelly Holdampf, G314 Akira Anderson, G402 Tina Wolfe, G501 Leslie Calvin Brown Jr.

A Cleaning deposit of $100.00 per unit will be collected at the time of sale and the unit must be returned empty and broomed cleaned No Dumping.

Aug. 29, Sep. 5 2 (24-05415D)

SECOND INSERTION

NOTICE

Notice is hereby given that on September 10th, 2024. Storagetreasures.com Executive administrator for U-Haul company of Northern Florida, will be offering for sale under the judicial lien process; by public auction; the following storage units. Household goods are stored at the U-Haul center located at 400 West Ashley Street. Jacksonville , fl 32202

christina hampton 6819 $443.61

David Truax 5106 $946.80

CYNTHIA MORTON 2807 $657.51

Kevin James 2202 $900.74

OLIVER JONES 5121 $677.15

jerry foster 6111 $660.14

shuronda henderson 5205 $419.45

LAWANA ETIENNE 5807 $581.10

francenia smithruss 6408 $892.31

Randall wiggins 4801 $705.40

RODNEY CHANDLER 4306 $992.10

dana green 2213 $345.50

Precious Jordan 5036 $409.35

MATTHEW WHITE 5606 $719.50

ARTHUR MCCRAW 4123 $782.15

teresa hansell 2008 $780.04

JOHN BROWN 1012 $511.26

jason rohena 4020 $581.40

Nicole Lonon 4126 $986.55

TORA SLEDGE-FREEMAN 4408 $523.86

SONIA MOORE 6135 $568.60

patrick roco 5501 $613.90

nefititi pouge 3130 $400.65 francenia smithruss 6204 $1,238.36

Debra Coleman 2125 $919.21

SECOND INSERTION

NOTICE

Extra Space Storage, on behalf of itself or its affiliates, Life Storage or Storage Express, will hold a public auction to sell personal property described below belonging to those individuals listed below at the location indicated: 5550 Timuquana Rd Jacksonville, FL 32210 September 17, 2024 at 9:30AM Hans Ofulue-Household goods Agustin GomezFurniture and boxes Nehemiah Boozemoving household things Christopher Taylor-Sofa, love seat, bed (mattress, frame headboard)

Samantha MorganCouch tvs bed dressers Narda Johnsonbedroom living room kitchen

Sasha Thomas-household items

Christopher Bacon-Bags of clothes and personal items

The auction will be listed and advertised on www.storagetreasures.com. Purchases must be made with cash only and paid at the above referenced facility in order to complete the transaction.

Extra Space Storage may refuse any bid and may rescind any purchase up until the winning bidder takes possession of the personal property.

Aug. 29, Sep. 5 2 (24-05421D)

SECOND INSERTION

NOTICE

Notice is hereby given that on September 10th, 2024. Storagetreasures.com Executive administrator for U-Haul company of Northern Florida, will be offering for sale under the judicial lien process; by public auction; the following storage units. Household goods are stored at the U-Haul center located at 5630 Phillips Hwy. Jacksonville Fl 32207 Duval willie mcNeill 621 $1,097.25

Hannah Rothwell 616 $897.10

geraldo romero 586 $1,244.05

KRISTEN BRUNELLE 312 $908.49

Gabriel Greene 027 $552.91

MARLIA HARRIS 058 $544.75 mastery unit 072 $850.86

TRACY DIANA 318 $876.64 Orlando Porter 002 $673.11 MARIA GALVAN 418 $740.35 phyllis mccloud 454 $736.35 Shaianne Dunbar 208 $1,706.54 brailyn anderson 001 $548.91 Renita Bowman 537 $1,144.91

Donovon Tawnsell 406 $740.35

Tamekia Pittman 051 $431.06

Steven Redden 555 $913.51

CHIP TURPIN 622 $1,117.25 bernardino rodriguez 556 $789.94 Ashley Bailon 033 $779.79

ANTOINE MOODY 545 $448.11

KAREN GRIMES 206 $550.52

U-Haul company does reserve the right to refuse bidsThe sale will begin Friday 09/06/2024 @ 9am and continue until Tuesday 09/10/2024 @ 9am. Aug. 29, Sep. 5 2 (24-05428D)

NOTICE

Notice is hereby given that on September 10th, 2024. Storagetreasures.com Executive administrator for U-Haul company of Northern Florida, will be offering for sale under the judicial lien process; by public auction; the following storage units. Household goods are stored at the U-Haul center located at 1651 W Edgewood Ave . Jacksonville Fl 32208 andretta akins 1263 $1,174.54 Rajah Wallace L105 $845.40 MICHAEL ADAMS 1255 $1,005.84

BERTHA BOYNTON L143 $443.30 Patricia Bly 1262 $828.34 edjuana bing 1061 $1,393.16

JACQUELYN MORGAN 2015 $905.60

Gerald Craddock 2121 $543.20

Rashad Murphy R116 $1,852.81

Veronica Pacheco 1013 $1,050.99

JERRICK DIX 1059 $918.04

melissa ingram 1080 $890.74

MARKUS HURLEY 1048 $1,758.04

Starletha Cherry 1211 $1,128.61

mauaica Glover R109 $949.90

Ortega Thomas 1056 $1,302.04

Patryse Thompson 1088 $972.16

Charlotte Jones 1108 $1,073.76

Robert Motley L116 $717.00

ANGLA GLOVER L141 $425.50

Orlando Senior R131 $681.24

ERIC JONES 2012 $886.20

SECOND INSERTION

NOTICE Notice is hereby given that on September 10th, 2024. Storagetreasures.com Executive administrator for U-Haul company of Northern Florida, will be offering for sale under the judicial lien process; by public auction; the following storage units. Household goods are stored at the U-Haul center located at 1650 Mayport Road Atlantic Beach, FL 32233 Duval David Eggleston

@ 9am and continue until Tuesday 09/10/2024 @ 9am. Aug. 29, Sep. 5 2 (24-05429D)

5 2 (24-05419D)

U-Haul company does reserve the right to refuse bids. The sale will begin Friday 09/06/2024 @ 9am and continue until Tuesday 09/10/2024 @ 9am. Aug. 29, Sep. 5 2 (24-05432D)

U-Haul company does reserve the right to refuse bids. The sale will begin Friday 09/06/2024 @ 9am and continue until Tuesday 09/10/2024 @ 9am. Aug. 29, Sep. 5 2 (24-05427D)

satisfy a lien placed on the contents (pursuant to Chapter 83 of the Florida Statutes). The sale will take place at the website www.StorageTreaures. com on September 16, 2024 at 12:00PM. The sale will be conducted under the direction of management. Units will be available for viewing prior to the sale on www.StorageTreasures.com Contents will be sold for cash only to the highest bidder. A 10-15% buyer’s premium will be charged and possibly a cleaning deposit per unit. All sales are final. Seller reserves the right to withdraw the property at any time before the sale or to refuse any bids. The property to be sold is described as “general household items” unless otherwise noted. Sutshi Deverson Unit 522, Symone Gray Unit 410, Craig Collins Unit 406, Craig Collins Unit 210, Craig Collins Unit 423, Authur Powell III Unit 618. Aug. 29, Sep. 5 2 (24-05445D) SECOND INSERTION

NOTICE Extra Space Storage, on behalf of itself or its affiliates, Life Storage or Storage Express, will hold a public auction to sell personal property described below belonging to those individuals listed below at the location indicated: Life Storage, 10523 Deerwood Park Blvd, Jacksonville, FL 32256, 904-561-4843, on September 17th, 2024 at 1:00pm. Minnie talberthousehold items Da’netric WilliamsHousehold Goods/ Furniture, Acct. Records/ Sales Samples, clothes The auction will be listed and advertised on www.storagetreasures.com. Purchases must be made with cash only and paid at the above referenced facility in order to complete the transaction. Extra Space Storage may refuse any bid and may rescind any purchase up until the winning bidder takes possession of the personal property. Aug. 29, Sep. 5 2 (24-05446D)

PUBLIC NOTICES

DUVAL COUNTY SUBSEQUENT INSERTIONS

THIRD INSERTION

IN THE COUNTY COURT, FOURTH JUDICIAL CIRCUIT, IN AND FOR DUVAL COUNTY, FLORIDA CASE NO.: 16-2024-CC-005741

DIVISION: CC-F 121 FINANCIAL CREDIT

UNION, Plaintiff, vs. JALONIE MURRAY, Defendant. NOTICE OF ACTION

To the following Defendant: Jalonie Murray 1935 Forest Blvd #34 Jacksonville, FL 32246 OR Whose residence is unknown YOU ARE HEREBY NOTIFIED that an action for damages has been filed against you and you are required to serve a copy of your written defenses, if any, to it on Jimerson Birr, P.A. whose address is One Independent Drive, Suite 1400, Jacksonville, Florida 32202, and file the original with the Clerk of the abovestyled Court on or before thirty (30) days from the first publication, otherwise a Judgment may be entered against you for the relief demanded in the Complaint. Americans With Disabilities Act (ADA) Notice In accordance with the Americans with Disabilities Act of 1990 (ADA), If you are a person with a disability who needs any accommodation in order to participate in this proceeding, you are entitled at no cost to you, to the provision of certain assistance. Please contact the ADA Coordinator at crtintrp@coj.net or (904) 2551695 at least 7 days before your scheduled court appearance, or immediately upon receiving this notification if the time before the scheduled appearance is less than 7 days; if you are hearing or voice impaired, call 711. WITNESS my hand and the seal of this Court this 15th day of August, 2024.

JODY PHILLIPS

Clerk of the Circuit Court

Duval County, Florida As Clerk of the Court by: By: Lakesheana English As Deputy Clerk (Court Seal)

Aug. 22/29, Sep. 5/12 15 (24-05319D)

THIRD INSERTION

IN THE CIRCUIT COURT OF THE 4TH JUDICIAL CIRCUIT IN AND FOR DUVAL COUNTY CASE NO.

16-2022-DP-351-BCDE

DIVISION JV-D IN THE INTEREST OF:

C.R. DOB: 8/15/2014, J.B. DOB: 10/12/2015, J.B. DOB: 5/4/2017, J.B. DOB: 2/6/2019, MINOR CHILDREN NOTICE OF ACTION TERMINATION OF PARENTAL RIGHTS TO: Jeremy Butler, address unknown

YOU ARE HEREBY NOTIFIED that the State of Florida, Department of Children and Families, has filed a Petition to terminate your parental rights and permanently commit the following children for adoption: C.R. born on 8/15/2014. You are hereby commanded to appear on September 30, 2024 , at 1:00 PM before the Honorable W. Collins Cooper Donna J. Vincent at the Duval Courthouse, 501 W Adams Street Courtroom 202 Jacksonville, FL 32202, for an ADVISORY HEARING.

FAILURE TO PERSONALLY APPEAR AT THIS ADVISORY HEARING CONSTITUTES CONSENT TO THE TERMINATION OF PARENTAL RIGHTS OF THIS CHILD (OR CHILDREN). IF YOU FAIL TO APPEAR ON THE DATE AND TIME SPECIFIED, YOU MAY LOSE ALL LEGAL RIGHTS AS A PARENT TO THE CHILD OR CHILDREN NAMED IN THIS NOTICE.

If you are a person with a disability who needs any accommodation in order to participate in this proceeding, you are entitled, at no cost to you, to the provision of certain assistance. Please contact the ADA Coordinator at (904) 255-1695 or crtintrp@coj.net at least 7 days before your scheduled court appearance, or immediately upon receiving this notification if the time before the scheduled appearance is less than 7 days; if you are hearing or voice impaired, call 711. WITNESS, my hand as Clerk of said Court and the Seal thereof, this 20th day of August, 2024.

JODY PHILLIPS, as Clerk of Court

By:

SECOND INSERTION

NOTICE OF RECEIPT FOR UNCLAIMED FUNDS HELD BY FIDUCIARY

I, JODY PIDLLIPS, Clerk of the Circuit Court of Duval County, Florida, do hereby acknowledge that I have this day received from the fiduciary named below, and deposited in the registry of said court, the sum specified below, upon representation of said fiduciary that said sum cannot be distributed or paid to the lawful owner by reason of inability to find the owner or claimant, or becuase no lawful owner or claimant is known to exist, or claimant refuses to accept such funds, the name of the lawful owner or claimant as represented by said fiduciary; being set forth below. Name and fiduciary capacity of fiduciary: NORTH FLORIDA OFFICE OF PUBLIC GUARDIAN, INC., Guardian of the Property In Re: Guardianship of JACQUELINE EVERETT, Deceased Ward File No.: 16-2021-GA-002809

Division: PR-B

Attorney: KAREN P. CAMPBELL, ESQ. Sum received: $2,555.05* Lawful owner or claimant: PATRICIA ROUNDTREE ALTON EVERETT SARAH EVERETT

*Remaining sum available for distribution after payment of Clerk’s and publication fees: $2,444.22

Dated at Jacksonville, Duval County, Florida, this JULY 30, 2024.

JODY PHILLIPS CLERK CIRCUIT COURT BY: Fred W. Hill Deputy Clerk Aug. 1, Sep. 5 co (24-04874D)

SECOND INSERTION

NOTICE

Atlantic Self Storage PUBLIC SALE will be on September 19, 2024 at 10:00 AM starting location: 9330 Philips Hwy Jacksonville FL 32256 – Unit 325 – Malik Hicks; Unit 58 – Thomas Allen

IMMEDIATELY FOLLOWING: 5535 Shad Rd Jacksonville, FL 32257 – Unit 414 – Michael Powledge; Unit 509 – Wendy Sue Gaul; Unit 707 – John Niemeyer

IMMEDIATELY FOLLOWING: 5285 Shad Rd Jacksonville, FL 32257 – Unit 1032M2 –Ines Ventura Terada; Unit 2018 –Jose Padilla; Unit 1328 – Michael Jones; Unit 1042 – Wendy Gaul; Unit 930 – Juan Ramirez; Unit 724 – Alexandria Beach; Unit 554 – Brandon Lynn Smith

IMMEDIATELY FOLLOW-

ING: 4937 Sunbeam Rd Jacksonville FL 32257 – Unit 340 – William Gardner Jr; Unit 419 – Gina Cedeno; Unit 507 – Jessica Hager; Unit 515 – Steven Jannetides; Unit 528 – Nancine Dreon; Unit 537 – Katherine Anne Aguiar; Unit 608 – Alberico Fiorini De Castro Jr; Unit 644

– Chelsea Ree Hall; Unit 796 –Alnetta Gilbert-Anderson; Unit 801 – Ava Yee; Unit 912 – Neffertite Mechelle Barrington; Unit 970 – William Gardner Jr; Unit 2013 – Wendy Caishowarat; Unit 2053 – Kelly Andersen; Unit 4010 – Kenneth Burden; Unit 4041 – Elmir Becirovic; Unit 5047 –Karen LaCorte; Unit 3045M2 –Michael Younkin

IMMEDIATELY FOLLOWING: 2822 University Blvd W Jacksonville, FL 32217 – Unit 50 – Michael Holm; Unit 414 –Ronald Shecut; Unit 560 – Bruce Gervin Sr IMMEDIATELY FOLLOWING: 6653 Powers Ave Jacksonville, Fl 32217 – Unit 517 –Jesse Frank Singleton; Unit 577 – Breneliz Rosario; Unit A49 –Trealia Currens; Unit B11 – Bernardo Bonifacio; Unit C07 – Alan Randall Camp; Unit C07 – Camp’s Custom Machine INC.; Unit C22 – Flavio Shtjefni; Unit C24 – Beverly Seymour; Unit C38 – Augusto Valencia; Unit D05 – Celeste Clere; Unit D43 – Richard Bradford; Unit D45 – Norman Jordan; Unit D52 – Homer Murray; Unit E15M2 – Shanice Mosley; Unit E30 – Leonta Brandon; Unit E54 – Ranitola Franklin Idjai; Unit F32 – Michael Jiron; Unit G32 – Barbara Green; Unit H15 – William Marsh; Unit K08 – Jesser Eduardo Villalobos Hernandez; Unit K30 – Panic Nenad Those listed above are delinquent in rent and under FL Statute 83.806 the contents of their units will be sold at Public Sale with a 10% Buyer’s Premium. The above units contain household goods and personal items unless otherwise noted. All Vehicles are sold AS-IS, PARTS ONLY. Terms of sale are CASH ONLY, due at the end of each Public Sale. Aug. 29, Sep. 5 11 (24-05545D)

THIRD INSERTION

IN THE CIRCUIT COURT FOR DUVAL COUNTY, FLORIDA PROBATE DIVISION File No. 16-2024-CP-002371 Division: PR-B

IN RE: ESTATE OF OSCARD ROLANDO GONZALEZ LUQUE Deceased.

NOTICE OF ACTION (formal notice by publication) To: MICHAEL GONZALEZ AND ANY AND ALL HEIRS OF THE ESTATE OF OSCARD ROLANDO GONZALEZ LUQUE

YOU ARE NOTIFIED that a Petition for Administration has been filed in this court. You are required to serve a copy of your written defenses, if any, on the petitioner's attorney, whose name and address are: Derek B. Alvarez, Esquire, GENDERS • ALVAREZ • DIECIDUE, P.A., 2307 W. Cleveland Street, Tampa, FL 33609, on or before September 20, 2024, and to file the original of the written defenses with the clerk of this court either before service or immediately thereafter. Failure to serve and file written defenses as required may result in a judgment or order for the relief demanded, without further notice.

Signed on August 16, 2024.

First Publication on: August 22, 2024.

JODY PHILLIPS As Clerk of the Court

By: Fred W.

As Deputy Clerk (Court Seal) Aug. 22/29, Sep. 5/12 15 (24-05331D)

THIRD INSERTION

IN THE CIRCUIT COURT OF THE FOURTH JUDICIAL CIRCUIT IN AND FOR DUVAL COUNTY, FLORIDA Case No.: 16-2024-DR-012321

Division: FM-F

IN Re: THE MATTER OF:

AMANDA FAY SHEPPARD, Children, SOPHIA DAWN-MARIE HOLT, Children, JASPER PAUL HOLT, Children, NAVAEH LYNN HOLT

Children, AUBREY ROSE HOLT

Children, TAMMIE SHEPPARD, Petitioner, LOUIS SHEPPARD, III, Petitioner, and AUTUMN LOUISE SHEPPARD, Respondent/Mother, JIMMIE LEE HOLT

Respondent/Father. To: Jimmie Lee Holt 7631 Bob O Link Road Jacksonville, FL 32218

YOU ARE NOTIFIED that an action for a Petition for Temporary Custody by Extended Relative has been filed against you and that you are required to serve a copy of your written defenses, if any, to it on Maria Aguila, Esq. Attorney for Petitioner at 2318 Park Street, Jacksonville, Florida 32204 email: maguila@immigrationlawfla. com, phone: 904-385-9377 on or before September 29, 2024, and file the original with the clerk of this court at: Duval County Courthouse, 501 W. Adams Street, Jacksonville, FL 32202, before service on Petitioner or immediately thereafter. If you fail to do so, a default may be entered against you for the relief demanded in the petition.

Copies of all court documents in this case, including orders, are available at the Clerk of the Circuit Court’s office. You may review these documents upon request. You must keep the Clerk of the Circuit Court’s office notified of your current address. (You may file Designation of Current Mailing and E-Mail Address, Florida Supreme Court Approved Family Law Form 12.915.) Future papers in this lawsuit will be mailed or e-mailed to the address(es) on record at the clerk’s office.

WARNING: Rule 12.285, Florida Family Law Rules of Procedure, requires certain automatic disclosure of documents and information. Failure to comply can result in sanctions, including dismissal or striking of pleadings.

Dated: August 15, 2024

JODY PHILLIPS CLERK OF THE CIRCUIT COURT

By: Monet Wheatley-Phillip DEPUTY CLERK

(Court Seal) Aug. 22/29, Sep. 5/12 15 (24-05350D)

CLAY COUNTY LEGAL NOTICES

FIRST INSERTION

FEED MILL COMMUNITY

DEVELOPMENT DISTRICT

NOTICE OF SPECIAL MEETING AND AUDIT COMMITTEE MEETING

Notice is hereby given that the Board of Supervisors (“Board”) of the Feed Mill Community Development District (“District”) will hold a special meeting of the Board of Supervisors on September 12, 2024, at 10:00 a.m., at 1845 Town Center Blvd, Suite 105, Fleming Island, FL 32003. There will be an Audit Committee meeting prior to the onset of the Board of Supervisors’ meeting. The Audit Review Committee will review, discuss and evaluate the proposals submitted in response to the RFP for Audit Services.

A copy of the agenda may be obtained by contacting the District Manager, c/o Rizzetta & Company, Inc, by mail at 3434 Colwell Ave., Suite 200, Tampa, Florida 33614 (“District Manager’s Office”) and by providing a telephone and email address during normal business hours by contacting the District Manager at lgallagher@ rizzetta.com or phone 904-4366270. The meeting is open to the public and will be conducted in accordance with the provisions of

Florida law for community development districts. The meeting may be continued to a date, time, and place to be specified on the record at such meeting.

Any person requiring special accommodations in order to access and participate in the meeting because of a disability or physical impairment should contact the District Manager’s Office at least forty-eight (48) hours prior to the meeting. If you are hearing or speech impaired, please contact the Florida Relay Service by dialing 7-1-1, or 1-800-955-8771 (TTY) / 1-800-955-8770 (Voice), for aid in contacting the District Manager’s Office. Each person who decides to appeal any decision made by the Board with respect to any matter considered at the Meetings is advised that person will need a record of proceedings and that accordingly, the person may need to ensure that a verbatim record of the proceedings is made, including the testimony and evidence upon which such appeal is to be based.

Lesley Gallagher District Manager Sep. 5 00 (24-00318C)

FIRST INSERTION

IN THE CIRCUIT COURT FOR CLAY COUNTY, FLORIDA PROBATE DIVISION

Case No.: 2024-CP-000371 Division: Probate IN RE: ESTATE OF ANNE RAYMOND

Deceased.

NOTICE TO CREDITORS

The administration of the estate of ANNE RAYMOND, deceased, whose date of death was March 15, 2024, is pending in the Circuit Court for CLAY County, Florida, Probate Division, the address of which is 825 N. Orange Avenue, Green Cove Springs, Florida 32043. The names and addresses of the personal representative and the personal representative’s attorney are set forth below.

All creditors of the decedent and other persons having claims or demands against decedent’s estate on whom a copy of this notice is required to be served must file their claims with this court ON OR BEFORE THE LATER OF 3 MONTHS AFTER THE TIME OF THE FIRST PUBLICATION OF THIS NOTICE OR 30 DAYS AFTER THE DATE OF SERVICE OF A COPY OF THIS NOTICE ON THEM.

The personal representative has no duty to discover whether any property held at the time of the decedent’s death by the decedent or the decedent’s surviving spouse is property to which the Florida Uniform Disposition of Community Property Rights at Death Act as described in ss. 732.216732.228, Florida Statutes, applies,

IN THE CIRCUIT COURT FOR CLAY COUNTY, FLORIDA PROBATE DIVISION

File No. 2024-CP-488

Division B IN RE: ESTATE OF BETTY ANN WARNER Deceased.

NOTICE TO CREDITORS

The administration of the estate of Betty Ann Warner, deceased, whose date of death was August 18, 2024, is pending in the Circuit Court for Clay County, Florida, Probate Division, the address of which is 825 N. Orange Avenue, Green Cove Springs, FL 32043. The names and addresses of the personal representative and the personal representative’s attorney are set forth below.

All creditors of the decedent and other persons having claims or demands against decedent’s estate on whom a copy of this notice is required to be served must file their claims with this court ON OR BEFORE THE LATER OF 3 MONTHS AFTER THE TIME OF THE FIRST PUBLICATION OF THIS NOTICE OR 30 DAYS AFTER THE DATE OF SERVICE OF A COPY OF THIS NOTICE ON THEM.

The personal representative has no duty to discover whether any property held at the time of the decedent’s death by the decedent or the decedent’s surviving spouse is property to which the Florida Uniform Disposition of Community Property Rights at Death Act as described in ss. 732.216732.228, Florida Statutes, applies,

IN THE CIRCUIT COURT OF THE FOURTH JUDICIAL CIRCUIT IN AND FOR CLAY COUNTY, FLORIDA CIVIL ACTION CASE NO.: 2024CA000252 NATIONSTAR MORTGAGE LLC, Plaintiff, vs. MARY ANN PICKERING AKA

or may apply, unless a written demand is made by a creditor as specified under s. 732.2211, Florida Statutes. All other creditors of the decedent and other persons having claims or demands against decedent’s estate must file their claims with this court WITHIN 3 MONTHS AFTER THE DATE OF THE FIRST PUBLICATION OF THIS NOTICE. ALL CLAIMS NOT FILED WITHIN THE TIME PERIODS SET FORTH IN FLORIDA STATUTES SECTION 733.702 WILL BE FOREVER BARRED. NOTWITHSTANDING THE TIME PERIODS SET FORTH ABOVE, ANY CLAIM FILED TWO (2) YEARS OR MORE AFTER THE DECEDENT’S DATE OF DEATH IS BARRED. The date of first publication of this notice is September 5, 2024.

Personal Representative: David J. Raymond, Jr. a/k/a David J. Raymond 2876 S. Barnside Way Boise, ID 83716

Attorney for Personal Representative: /s/ Joseph G. Coluccio JOSEPH G. COLUCCIO, ESQUIRE Florida Bar No.: 1010941 6905 N. Wickham Road, Suite 405.09

Melbourne, Florida 32940

Telephone: (321) 622-8127 Email: jcoluccio@joecolucciolaw.com Attorney Sep. 5/12 00 (24-00317C)

or may apply, unless a written demand is made by a creditor as specified under s. 732.2211, Florida Statutes. All other creditors of the decedent and other persons having claims or demands against decedent’s estate must file their claims with this court WITHIN 3 MONTHS AFTER THE DATE OF THE FIRST PUBLICATION OF THIS NOTICE. ALL CLAIMS NOT FILED WITHIN THE TIME PERIODS SET FORTH IN FLORIDA STATUTES SECTION 733.702 WILL BE FOREVER BARRED. NOTWITHSTANDING THE TIME PERIODS SET FORTH ABOVE, ANY CLAIM FILED TWO (2) YEARS OR MORE AFTER THE DECEDENT’S DATE OF DEATH IS BARRED. The date of first publication of this notice is September 5, 2024.

Personal Representative: William L. Warner 5840 Campo Drive

Keystone Heights, Florida 32656

Attorney for Personal Representative: April R. Scott, Attorney Florida Bar Number: 106677

Tolson & Associates, PA 462 Kingsley Ave., Ste. 101 ORANGE PARK, FL 32073

Telephone: (904) 269-0050

Fax: (904) 269-6119

E-Mail: office@tolsonandassociates.com

Secondary E-Mail: susie@tolsonandassociates.com Sep. 5/12 00 (24-00316C)

MARY A. PICKERING AKA MARY PICKERING, et al, Defendant(s). NOTICE OF SALE PURSUANT TO CHAPTER 45 NOTICE IS HEREBY GIVEN Pursuant to a Final Judgment of Foreclosure dated August 14, 2024, and entered in Case No. 2024CA000252 of the Circuit Court of the Fourth Judicial Circuit in and for Clay County, Florida in which Nationstar Mortgage LLC, is the Plaintiff and Mary Ann Pickering aka Mary A. Pickering aka Mary Pickering; Ford Motor Credit Company LLC; United States of America, Department of Treasury; are defendants, the Clay County Clerk of the Circuit Court will sell to the highest and best bidder for cash in/on www.clay.realforeclose.com Clay County, Florida at 10:00AM on the 9th day of October, 2024, the following described property as set forth in said Final Judgment of Foreclosure: ALL THE FOLLOWING DESCRIBED LAND SITUATE IN CLAY COUNTY, FLORIDA, TOGETHER WITH ALL IMPROVEMENTS EXISTING THEREON, BEING MORE FULLY DESCRIBED AS FOLLOWS, TO-WIT: LOT 32, RIDGECREST, UNIT 7, ACCORDING TO PLAT THEREOF AS RECORDED IN PLAT BOOK 17, PAGES 36, 37. 38 AND 39. OF THE PUBLIC RECORDS OF CLAY COUNTY, FLORIDA. TOGETHER WITH A PORTION OF LOT 33, ACCORDING TO MAP OF RIDGECREST, UNIT 7, AS RECORDED IN PLAT BOOK 17. PAGES 36, 37, 38 AND 39, OF THE PUBLIC RECORDS OF CLAY COUNTY, FLORIDA. THAT PORTION OF SAID LOT 33, BEING MORE PARTICULARLY DESCRIBED AS FOLLOWS: BEGIN AT THE MOST NORTHERLY CORNER OF SAID LOT 33, RIDGECREST, UNIT 7; THENCE SOUTH 50 DEGREES 36 MINUTES 11 SECONDS WEST AND ON THE NORTHWESTERLY BOUNDARY OF SAID LOT 33, A DISTANCE OF 178.66 FEET TO THE MOST WESTERLY CORNER OF SAID LOT 33, RIDGECREST, UNIT 7: THENCE NORTH 56 DEGREES 15 MINUTES 06 SECONDS EAST 112.40 FEET; THENCE NORTH 41 DEGREES 11 MINUTES 58 SECONDS EAST 67.71 FEET TO THE POINT OF BEGINNING. A/K/A 2575 SANDLEWOOD CIR ORANGE PARK FL 32065

Any person claiming an interest in the surplus from the sale, if any, other than the property owner as of the date of the Lis Pendens must file a claim before the Clerk reports the surplus as unclaimed. If you are a person with a disability who needs an accommodation in order to access court facilities or participate in a court proceeding, you are entitled, at no cost to you, to the provision of certain assistance. To request such an accommodation, please contact Court Administration at least three business days prior to the required service by using one of the following methods: Phone(904) 630-2564; Fax - (904) 6301146; TTD/TTY - (800) 955-8770 (Florida Relay Service). E-Mail –crtintrp@coj.net. Dated in Clay County, Florida this 29th day of August, 2024. TARA S. GREEN, Clerk of the Circuit Court Clay County, Florida By: Jennifer Brosky Deputy Clerk (Court Seal) Albertelli Law Attorney for Plaintiff P.O. Box 23028 Tampa, FL 33623 (813) 221-4743 (813) 221-9171 facsimile eService: servealaw@albertellilaw.com CT - 23-016021 Sep. 5/12 00 (24-00314C)

PUBLIC NOTICES

FIRST INSERTION

WILFORD PRESERVE COMMUNITY

DEVELOPMENT DISTRICT

NOTICE OF BOARD OF SUPERVISORS MEETING

Notice is hereby given that the Board of Supervisors (“Board”) of the Wilford Preserve Community Development District (“District”) will hold a regular meeting on Tuesday, September 17, 2024 at 1:30 p.m. at the Plantation Oaks Amenity Center, 845 Oakleaf Plantation Parkway, Orange Park, Florida 32065, where the Board may consider any business that may properly come before it (“Meeting”). An electronic copy of the agenda may be obtained by contacting the office of the District Manager, c/o Governmental Management Services, LLC, at (904) 940-5850 or mgiles@ gmsnf.com (“District Manager’s Office”) and is also expected to be available on the District’s website, www.WilfordPreserveCDD.com, at least seven days prior to the meeting. The meeting will be conducted in accordance with the provisions of Florida law for community development districts and will be

IN THE CIRCUIT COURT OF THE FOURTH JUDICIAL CIRCUIT IN AND FOR CLAY COUNTY, FLORIDA CIVIL DIVISION

CASE NO. 24-CA-763

CRD2, INC.

Plaintiff, vs. LIVING INTERIOR PLANT SERVICE INC.

Defendant(s) NOTICE OF SALE NOTICE IS HEREBY GIVEN

pursuant to a Consent Final Judgment for Partition dated August 23, 2024, and entered in 24-CA000763 of the County Court of the Fourth Judicial Circuit in and for Clay County, wherein CRD2, Inc., is the Plaintiff and Living Interior Plant Service Inc. is the Defendant Tara S. Green as the Clerk of the Court will sell to the highest and best bidder for cash at: www.clay.realforeclose.com on September 25, 2024 at 10:00 AM, the following described property as set forth in said Consent Final Judgment for Partition, to wit: Lot 556, TWO CREEKS, according to the Plat thereof as recorded in Plat Book 52, Page(s) 62 through 104, of the Public Records of Clay County, Florida. More commonly known as: 4075 Sandhill Crane Ter, Middleburg, FL. 32068 (“Property”). Any person claiming an interest in the surplus from the sale, if any, other than the property owner

open to the public. The meeting may be continued in progress without additional notice to a date, time, and place to be specified on the record at the meeting.

Any person requiring special accommodations at the Meeting because of a disability or physical impairment should contact the District Manager’s Office at least forty-eight (48) hours prior to the Meeting. If you are hearing or speech impaired, please contact the Florida Relay Service by dialing 7-1-1, or 1-800-955-8771 (TTY) / 1-800-955-8770 (Voice), for aid in contacting the District Manager’s Office. Each person who decides to appeal any decision made by the Board with respect to any matter considered at the Meeting is advised that person will need a record of proceedings and that accordingly, the person may need to ensure that a verbatim record of the proceedings is made, including the testimony and evidence upon which such appeal is to be based.

Marilee Giles District Manager Sep. 5 00 (24-00312C)

as of the date of the Lis Pendens must file a claim in accordance with Florida Statute, Section 45.031.

AMERICANS WITH DISABILI-

TY ACT: If you are a person with a disability who needs an accommodation in order to access court facilities or participate in a court proceeding, you are entitled, at no cost to you, to the provision of certain assistance. To request such an accommodation, please contact the Administrative Office of the Court as far in advance as possible, but preferably at least (7) days before your scheduled court appearance or other court activity of the date the service is needed: Complete the Request for Accommodations Form and submit to Family Court Services, Room 1035. Please review FAQ’s for answers to many questions. You may contact the Administrative Office of the Courts ADA Coordination by letter, telephone or e-mail: Administrative Office of the Courts, Attention: Family Court Services, Room 1035 Phone: 904-255-1695 813-2727040, Hearing Imparied: 1-800-9558771, Voice impaired: 1-800-9558770, e-mail: crtintrp@coj.net

Dated August 28, 2024. TARA S. GREEN Clerk of the Circuit Court By: Chelsey Mason Deputy Clerk (Court Seal) Ivanov & Wolf, PLLC 3310 W. Cypress St, Suite 206 Tampa, FL 33607 Telephone: 813-870-6396 Matt@IWFirm.com Sep. 5/12 00 (24-00313C)

FIRST INSERTION

IN THE CIRCUIT COURT OF THE FOURTH JUDICIAL CIRCUIT IN AND FOR CLAY COUNTY, FLORIDA.

CIVIL DIVISION CASE NO.

102024CA000484CAAXXY LAKEVIEW LOAN SERVICING, LLC , Plaintiff, vs. NICOLE DELANIA TERRY; RHONDA PEABODY A/K/A RHONDA K. PEABODY F/K/A RHONDA C. LONG; UNKNOWN TENANT NO. 1; UNKNOWN TENANT NO. 2; and ALL UNKNOWN PARTIES

CLAIMING INTERESTS BY, THROUGH, UNDER OR AGAINST A NAMED DEFENDANT TO THIS ACTION, OR HAVING OR CLAIMING TO HAVE ANY RIGHT, TITLE OR INTEREST IN THE PROPERTY HEREIN

DESCRIBED, Defendant(s). NOTICE OF ACTION

TO: NICOLE DELANIA TERRY

Last Known Address

774 CREIGHTON RD

FLEMING ISLAND, FL

32003 Current Residence is Unknown

YOU ARE NOTIFIED that an action to foreclose a mortgage on the following described property in Clay County, Florida: LOT 4 OF AN UNRECORDED SUBDIVISION OF PART OF THE NORTHWEST

PORTION OF TRACT

THREE (3), CREIGHTON FOREST UNIT 2, ACCORDING TO PLAT

SECOND INSERTION

IN THE CIRCUIT COURT OF THE FOURTH JUDICIAL CIRCUIT IN AND FOR CLAY COUNTY, FLORIDA CASE NO.: 2023-CA-001180 MIDFIRST BANK, Plaintiff, v. CHARLES H. RIESS, et al., Defendants.

NOTICE OF FORECLOSURE SALE

NOTICE is hereby given that Tara S. Green, Clerk of the Circuit Court of Clay County, Florida, will on October 2, 2024, at 10:00 a.m. ET, via the online auction at: www.clay.realforeclose.com in accordance with Chapter 45, F.S., offer for sale and sell to the highest and best bidder for cash, the following described property situated in Clay County, Florida, to wit: Lot 101, SILVER SANDS ESTATES, according to the plat thereof as recorded in Plat Book 7, Pages 8 through 11, inclusive, Public Records of Clay County, Florida. includes manufactures housing units described as follows: Make: Sweetwater, Model: HUDOF011791, Width: 24, Length: 56, Serial# GEO641426/27, Year: 1999, Vehicle Identification Numbers: SHGA5262A and SHGA5262B, Title Numbers: 77166771 and 77166772

Property Address: 7595 Oak Forest Road, Keystone Heights, FL 32656 pursuant to the Final Judgment of Foreclosure entered in a case pending in said Court, the style and case number of which is set forth above.

Any person claiming an interest in the surplus from the sale, if any, other than the property owner as of the date of the Lis Pendens must file a claim before the clerk reports the surplus as unclaimed. If the sale is set aside for any reason, the Purchaser at the sale shall be entitled only to a return of the deposit paid. The Purchaser shall have no further recourse against the Mortgagor, the Mortgagee or the Mortgagee’s attorney.

If you are a person with a disability who needs any accommodation in order to participate in this proceeding, you are entitled, at no cost to you, to the provision of certain assistance. Please contact the ADA Coordinator at (904) 255-1695 or crtintrp@coj.net at least 7 days before your scheduled court appearance, or immediately upon receiving this notification if the time before the scheduled appearance is less than 7 days; if you are hearing or voice impaired, call 711.

WITNESS my hand and official seal of this Honorable Court this 21st day of August, 2024.

CLAY COUNTY SUBSEQUENT INSERTIONS

THE STATE OF TEXAS, DALLAS COUNTY, TEXAS Case # DF-19-18322

IN THE INTEREST OF K.H., A CHILD To: REGINALD ALEXANDER HENDRICKS, II 518 SUMMIT DR ORANGE PARK FL 32073

GREETINGS:

You have been sued. You may employ an attorney. If you or your attorney do not file a written answer with the clerk who issued this citation by 10 o’clock a.m. on the Monday next following the expiration of twenty eight days after you were served this citation and petition, a default judgment may be taken against you. In addition to filing a written answer with the clerk, you may be required to make initial disclo-

IN THE CIRCUIT COURT OF THE FOURTH JUDICIAL CIRCUIT, IN AND FOR CLAY COUNTY, FLORIDA. CASE No. 2024CA000576 PENNYMAC LOAN SERVICES, LLC, PLAINTIFF, VS. DEIONDRA RENEE STOVALL A/K/A DEIONDRA STOVALL, ET AL.

DEFENDANT(S). NOTICE OF ACTION To: DEIONDRA RENEE

STOVALL A/K/A

DEIONDRA STOVALL

RESIDENCE: UNKNOWN

LAST KNOWN ADDRESS: 6776 Ripple Pond Loop, Zephyrhills, FL 33541

YOU ARE HEREBY NOTIFIED that an action to foreclose a mortgage on the following described property located in Clay

IN THE CIRCUIT COURT OF THE FOURTH JUDICIAL CIRCUIT, IN AND FOR CLAY COUNTY, FLORIDA

Case: 10-2024-CP-057

Division: Probate B IN RE: THE ESTATE OF ELSIE C. BROWN, DECEASED. NOTICE TO CREDITORS

The administration of the estate of ELSIE C. BROWN, whose date of death was September 26, 2023, SSN XXX-XX-7059, Case No. 10-2024-CP-057, is pending in the Circuit Court for Clay County, Florida, Probate Division B, the address of which is Judge William A. Wilkes Judicial Complex, 825 N. Orange Ave., Green Cove Springs, FL 32043. The names and addresses of the personal representative and the personal representative’s attorney are set forth below. All creditors of the decedent and other persons having claims or

FOURTH INSERTION

sures to the other parties of this suit. These disclosures generally must be made no later than 30 days after you file your answer with the clerk. Find out more at TexasLawHelp.org. Your answer should be addressed to the clerk of the 302nd District Court at 600 Commerce Street, Dallas, Texas 75202.

Said Petitioner being CHANTANEL L HENDRICKS Filed in said Court 21st day of April, 2023 against REGINALD ALEXANDER HENDRICKS, II

For suit, said suit being numbered DF-19-18322, the nature of which demand is as follows: Suit On, PETITION FOR ENFORCEMENT OF MEDICAL SUPPORT etc. AND PETITION TO MODIFY PAR-

SECOND INSERTION

County, Florida: LOT 53, PARCEL 15, JENNINGS POINT, ACCORDING TO THE PLAT AS RECORDED IN PLAT BOOK 62, PAGES 41 THROUGH 46, OF THE PUBLIC RECORDS OF CLAY COUNTY, FLORIDA.

has been filed against you, and you are required to serve a copy of your written defenses, if any, to this action, on Tromberg, Morris & Partners, PLLC, attorneys for Plaintiff, whose address is 600 West Hillsboro Boulevard, Suite 600, Deerfield Beach, FL 33441, and file the original with the Clerk of the Court, within 30 days after the first publication of this notice, either before service on Plaintiff’s attorney or immediately thereafter, otherwise a default may be entered against you for the relief demanded in the Complaint. This notice shall be published

SECOND INSERTION

demands against decedent’s estate, on whom a copy of this notice is served, must file their claims with this court WITHIN THE LATER OF 3 MONTHS AFTER THE DATE OF THE FIRST PUBLICATION OF THIS NOTICE OR 30 DAYS AFTER THE DATE OF SERVICE OF A COPY OF THIS NOTICE ON THEM. All creditors of the decedent and persons having claims or demands against the decedent’s estate must file their claims with this court WITHIN 3 MONTHS AFTER THE DATE OF THE FIRST PUBLICATION OF THIS NOTICE. ALL CLAIMS NOT FILED WITHIN THE TIME PERIODS SET FORTH IN SECTION 733.702 OF THE FLORIDA PROBATE CODE WILL BE FOREVER BARRED. NOTWITHSTANDING THE TIME PERIOD SET FORTH ABOVE, ANY CLAIM FILED TWO YEARS OR MORE AFTER THE DECEDENT’S DATE OF

SECOND INSERTION

ENT-CHILD RELATIONSHIP as shown on said petition, a copy of which accompanies this citation. If this citation is not served, it shall be returned unexecuted. Attorney for Petitioner PRO SE CHANTANEL L HENDRICKS 1670 H. HAMPTON RD STE 106 DESOTO TX 75115

972-921-5712

info@tx-cls.com

WITNESS: FELICIA PITRE, Clerk of the District Courts of Dallas, County Texas. Given under my hand and the Seal of said Court at office 27th day of April, 2023

ATTEST: FELICIA PITRE Clerk of the District Courts of Dallas, County, Texas By ALICE TORRES, Deputy Aug. 15/22/29, Sep. 5 35 (24-00292C)

once a week for two consecutive weeks in the Jacksonville Daily Record.

If you are a person with a disability who needs any accommodation in order to participate in this proceeding, you are entitled, at no cost to you, to the provision of certain assistance. Please contact ADA Coordinator at 904-255-1695 or at crtintrp@coj.net, 501 West Adams Street, Room 6204, Jacksonville, FL 32202 at least 7 days before your scheduled court appearance, or immediately upon receiving this notification if the time before the scheduled appearance is less than 7 days; if you are hearing or voice impaired, call 711. Date: August 27, 2024 TARA S. GREEN Clerk of the Circuit Court By: Taylor Tison Deputy Clerk of the Court (Court Seal) Aug. 29, Sep. 5 34 (24-00310C)

DEATH IS BARRED. A personal representative or curator has no duty to discover whether any property held at the time of the decedent’s death by the decedent or the decedent’s surviving spouse is property to which the Florida Uniform Disposition of Community Property Rights at Death Act as described in sections 732.216-732.228, applies, or may apply, unless a written demand is made by a creditor as specified under section 732.2211. The date of first publication of this Notice is August 29, 2024. Personal Representative: CLAUDE L. GOING, JR. of 237 Creekside Farms Way, Duncan, SC 29334. Attorney for Petitioner: Pamela J. Soulé, Esq., 4812 San Juan Ave, Jacksonville, FL 32210; Phone (904) 910-3729; Florida Bar No. 77143. Aug. 29, Sep. 5 35 (24-00302C)

THEREOF RECORDED IN PLAT BOOK 4, PAGES 35 AND 36, OF THE CURRENT PUBLIC RECORDS OF CLAY COUNTY, FLORIDA; EXCEPT ANY PORTION LYING IN STATE ROAD NO. 515 A, ALSO KNOWN AS S-15-A, SAID UNRECORDED SUBDIVISION BEING IN OFFICIAL RECORDS VOLUME 19, PAGES 527 AND 528. has been filed against you and you are required to serve a copy of your written defenses, if any, to it on Diaz Anselmo & Associates, P.A., Plaintiff’s attorneys, whose address is P.O. BOX 19519, Fort Lauderdale, FL 33318, (954) 5640071, answers@dallegal.com, within 30 days from first date of publication, and file the orig inal with the Clerk of this Court either before service on Plaintiff’s attorneys or immediately there after; otherwise a default will be entered against you for the relief demanded in the complaint or petition.

In accordance with the Americans with Disabilities Act of 1990, persons needing special accommodation to participate in this proceeding should contact the Clerk of the Court not later than five business days prior to the proceeding at the Clay County Courthouse. Telephone 904-2696317 or 1-800-955-8770 via Florida Relay Service.

DATED on August 30, 2024. TARA S. GREEN As Clerk of the Court By: Taylor Tison As Deputy Clerk 1691-202836 / VP2 Sep. 5/12

TARA S. GREEN Clerk of the Circuit Court By: Gracie Moore Deputy Clerk (Court Seal) Tiffany & Bosco, P.A. 1201 S. Orlando Ave., Suite 430 Winter Park, FL 32789 floridaservice@tblaw.com Aug. 29, Sep. 5 34 (24-00300C)

IN THE CIRCUIT COURT FOR CLAY COUNTY, FLORIDA PROBATE DIVISION File No.: 2023CP000553 Division: B IN RE: ESTATE OF BRENDA LONNIE MILLARD, Deceased. NOTICE TO CREDITORS

The administration of the estate of BRENDA LONNIE MILLARD, deceased, whose date of death was July 4, 2022, is pending in the Circuit Court for CLAY County, Florida, Probate Division, the address of which is 825 North Orange Avenue, Green Cove Springs, Florida 32043. The names and addresses of the personal representative and the personal representative’s attorney are set forth below. All creditors of the decedent and other persons having claims or demands against decedent’s estate on whom a copy of this notice is required to be served must file their claims with this court ON OR BEFORE THE LATER OF

IN THE CIRCUIT COURT OF THE FOURTH JUDICIAL CIRCUIT IN AND FOR CLAY COUNTY, FLORIDA Case No.: 2024-DR-409 Division: F IN RE: ADOPTION OF: R.K., Jr., Adoptee.

NOTICE OF ACTION FOR TERMINATION OF PARENTAL RIGHTS AND ADULT ADOPTION NIKKI RENEE FRYER 5754 Merrill Rd, #36 Jacksonville, Florida 32277

YOU ARE NOTIFIED that a Joint Petition for Adult Adoption has been filed against you and that you are required to serve a copy of your written defenses, if any, to it on Kyle J. Marcil, Esq., whose address is 1543 Kingsley Avenue, Suite 18-B, Orange Park, FL 32073, on or before September 30, 2024, and file the original with the clerk of this Court at Clay County Courthouse, 825

3 MONTHS AFTER THE TIME OF THE FIRST PUBLICATION OF THIS NOTICE OR 30 DAYS AFTER THE DATE OF SERVICE OF A COPY OF THIS NOTICE ON THEM. All other creditors of the decedent and other persons having claims or demands against decedent’s estate must file their claims with this court WITHIN 3 MONTHS AFTER THE DATE OF THE FIRST PUBLICATION OF THIS NOTICE. ALL CLAIMS NOT FILED WITHIN THE TIME PERIODS SET FORTH IN FLORIDA STATUTES SECTION 733.702 WILL BE FOREVER BARRED. NOTWITHSTANDING THE TIME PERIODS SET FORTH ABOVE, ANY CLAIM FILED TWO (2) YEARS OR MORE AFTER THE DECEDENT’S DATE OF DEATH IS BARRED. The personal representative has no duty to discover whether any property held at the time of the

THIRD INSERTION

N. Orange Avenue, Green Cove Springs, Florida 32043, before service on Petitioner or immediately thereafter. If you fail to do so, a default may be entered against you for the relief demanded in the petition. PLEASE TAKE NOTICE that on Monday, October 7, 2024, at 10:30 a.m. or as soon thereafter as counsel can be heard on Petitioners’ Petition for Adult Adoption before the Honorable Gary Wilkinson, at the Clay County Courthouse, Room #4-093, 825 N. Orange Avenue, Green Cove Springs, Florida The adult adoptee identified as follows: Name R.K., Jr. Date of Birth September 28, 2004 Place of Birth Jacksonville, Florida Physical Description of Respondent: Age: 38 years old Race: Black

decedent’s death by the decedent or the decedent’s surviving spouse is property to which the Florida Uniform Disposition of Community Property Rights at Death Act as described in ss. 732.216732.228, Florida Statutes, applies, or may apply, unless a written demand is made by a creditor as specified under s. 732.2211, Florida Statutes. The date of first publication of this notice is August 29, 2024. Personal Representative: DARLENA H. RAGGINS 1320 Jefferson Avenue, Apt. C Orange Park, Florida 32065 Attorney for Personal Representative: RODOLFO SUAREZ, JR., ESQ. Attorney Florida Bar Number: 013201 9100 S Dadeland Blvd., Suite 1620 Miami, Florida 33156 Telephone: (305) 448-4244 E-Mail: rudy@suarezlawyers.com Aug. 29, Sep. 5 34 (24-00301C)

CLAY COUNTY SUBSEQUENT INSERTIONS

SECOND INSERTION

IN THE CIRCUIT COURT FOR CLAY COUNTY, FLORIDA

PROBATE DIVISION

Case No.: 2024-CP-000420

IN RE: ESTATE OF RONALD EARL WAGNER, Deceased.

NOTICE TO CREDITORS

The administration of the estate of RONALD EARL WAGNER, deceased, whose date of death was June 7, 2024, is pending in the Circuit Court for Clay County, Florida, the address of which is 825 North Orange Avenue, Green Cove Springs, FL 32043. The names and addresses of the Personal Representative and the Personal Representative’s attorney are set forth below.

All creditors of the Decedent and other persons having claims or demands against Decedent’s estate, on whom a copy of this notice is required to be served, must file their claims with this court ON OR BEFORE THE LATER OF 3 MONTHS AFTER THE TIME OF THE FIRST PUBLICATION OF THIS NOTICE OR 30 DAYS AFTER THE DATE OF SERVICE OF A COPY OF THIS NOTICE ON THEM.

All other creditors of the Decedent and other persons having claims or demands against Decedent’s estate must file their claims with this court WITHIN 3 MONTHS AFTER THE DATE OF THE FIRST PUBLICATION OF THIS NOTICE.

ALL CLAIMS NOT FILED WITHIN THE TIME PERIODS SET FORTH IN FLORIDA STATUTES SECTION 733.702 WILL BE FOREVER BARRED. NOTWITHSTANDING THE TIME PERIOD SET FORTH ABOVE, ANY CLAIM FILED TWO (2) YEARS OR MORE AFTER THE DECEDENT’S DATE OF DEATH IS BARRED. A personal representative or curator has no duty to discover whether any property held at the time of the decedent’s death by the decedent or the decedent’s surviving spouse is property to which the Florida Uniform Disposition of Community Property Rights at Death Act as described in sections 732.216-732.228, applies, or may apply, unless a written demand is made by a creditor as specified under section 732.2211

The date of first publication of this notice is: August 29, 2024. Signed on this 22nd day of August, 2024.

WILLIAM SCHAEFER

JAMES A. NOLAN, ESQUIRE Attorney for Personal Representative Florida Bar No. 0124389 The Liles Firm, P.A. 50 North Laura Street, Suite 1200 Jacksonville, FL 32202 Telephone: 904-634-1200 Email: jnolan@thelilesfirm.com Sec. Email: jpayne@thelilesfirm.com Aug. 29, Sep. 5 35 (24-00303C)

SECOND INSERTION

IN THE CIRCUIT COURT FOR CLAY COUNTY, FLORIDA

PROBATE DIVISION File No. 2024-CP-346 IN RE: ESTATE OF PHILLIP MARTIN REED, Deceased. NOTICE TO CREDITORS

The administration of the estate of PHILLIP MARTIN REED, deceased, whose date of death was November 11, 2023, is pending in the Circuit Court for Clay County Florida, Probate Division, the address of which is 825 North Orange Avenue, Green Cove Springs, Florida 32043. The names and addresses of the personal representative and the personal representative’s attorney are set forth below. All creditors of the decedent and other persons having claims or demands against decedent’s estate on whom a copy of this notice is required to be served must file their claims with this court ON OR BEFORE THE LATER OF 3 MONTHS AFTER THE TIME OF THE FIRST PUBLICATION OF THIS NOTICE OR 30 DAYS AFTER THE DATE OF SERVICE OF A COPY OF THIS NOTICE ON THEM.

All other creditors of the decedent and other persons having claims or demands against decedent’s estate must file their claims with this court WITHIN 3 MONTHS AFTER THE DATE OF THE FIRST PUBLICATION OF THIS NOTICE. ALL CLAIMS NOT FILED WITHIN THE TIME PERIODS SET FORTH IN FLORIDA STAT-

IN THE CIRCUIT COURT FOR CLAY COUNTY, FLORIDA

PROBATE DIVISION File No. 2024-CP-474 Division B IN RE: ESTATE OF ARLENE V. STOCKLOSA, a/k/a Arlene Stocklosa Deceased.

NOTICE TO CREDITORS

The administration of the estate of Arlene V. Stocklosa, deceased, whose date of death was July 29, 2024, is pending in the Circuit Court for Clay County, Florida, Probate Division, the address of which is 825 N. Orange Avenue, Green Cove Springs, Fl 32043. The names and addresses of the personal representative and the personal representative’s attorney are set forth below. All creditors of the decedent and other persons having claims or demands against decedent’s estate on whom a copy of this notice is required to be served must file their claims with this court ON OR BEFORE THE LATER OF 3 MONTHS AFTER THE TIME OF THE FIRST PUBLICATION OF THIS NOTICE OR 30 DAYS AFTER THE DATE OF SERVICE OF A COPY OF THIS NOTICE ON THEM. The personal representative has no duty to discover whether any property held at the time of the decedent’s death by the decedent or the decedent’s surviving spouse is property to which the Florida Uniform Disposition of Community Property Rights at Death Act as described in ss. 732.216732.228, Florida Statutes, applies,

NASSAU COUNTY LEGAL NOTICES

FIRST INSERTION

NOTICE UNDER FICTITIOUS NAME LAW According to Florida Statute Number 865.09 NOTICE IS HEREBY GIVEN that the undersigned, desiring to engage in business under the Fictitious Name of Honey Done located at 5603

Gregg St, in the City of Fernandina Beach, Nassau County, Florida 32034 intends to register the said name with the Division of Corporations of the Department of State, Tallahassee, Florida. Dated at Jacksonville, Florida, this 3rd day of August, 2024. Honey Done Home Services LLC By: Adam Lovallo Sep. 5 00 (24-00158N)

FIRST INSERTION

IN THE CIRCUIT COURT FOR NASSAU COUNTY, FLORIDA

PROBATE DIVISION

File No. 24CP000349AXYX Division A IN RE: ESTATE OF BRETT MADISON aka BRETT ALLEN MADISON aka BRETT A. MADISON

Deceased.

NOTICE TO CREDITORS

UTES SECTION 733.702 WILL BE FOREVER BARRED. NOTWITHSTANDING THE TIME PERIODS SET FORTH ABOVE, ANY CLAIM FILED TWO (2) YEARS OR MORE AFTER THE DECEDENT’S DATE OF DEATH IS BARRED.

The personal representative has no duty to discover whether any property held at the time of the decedent’s death by the decedent or the decedent’s surviving spouse is property to which the Florida Uniform Disposition of Community Property Rights at Death Act as described in ss. 732.216732.228, Florida Statutes, applies, or may apply, unless a written demand is made by a creditor as specified under s. 732.2211, Florida Statutes.

The date of first publication of this Notice is August 29, 2024.

Personal Representative: JOSHUA K. REED 10506 Vintage Creek Road Louisville, Kentucky 40299

Attorney for Personal Representative: NORBERTO S. KATZ, ESQUIRE Florida Bar No.: 399086 VELIZ KATZ LAW 630 North Wymore Road Suite 330 Maitland, Florida 32751 (407) 849-7072

Primary: velizkatz@velizkatzlaw.com

Secondary: kmorales@velizkatzlaw.com

Attorney for Personal Representative Aug. 29, Sep. 5 35 (24-00306C)

or may apply, unless a written demand is made by a creditor as specified under s. 732.2211, Florida Statutes.

All other creditors of the decedent and other persons having claims or demands against decedent’s estate must file their claims with this court WITHIN 3 MONTHS AFTER THE DATE OF THE FIRST PUBLICATION OF THIS NOTICE. ALL CLAIMS NOT FILED WITHIN THE TIME PERIODS SET FORTH IN FLORIDA STATUTES SECTION 733.702 WILL BE FOREVER BARRED. NOTWITHSTANDING THE TIME PERIODS SET FORTH ABOVE, ANY CLAIM FILED TWO (2) YEARS OR MORE AFTER THE DECEDENT’S DATE OF DEATH IS BARRED. The date of first publication of this notice is August 29, 2024. Personal Representative: Patricia Male 2479 Henley Road Green Cove Springs, Florida 32043

Attorney for Personal Representative: April R. Scott, Attorney Florida Bar Number: 106677 Tolson & Associates, PA 462 Kingsley Ave., Ste. 101 ORANGE PARK, FL 32073 Telephone: (904) 269-0050

Fax: (904) 269-6119

E-Mail: office@tolsonandassociates.com Secondary E-Mail: susie@tolsonandassociates.com Aug. 29, Sep. 5 35 (24-00304C)

NASSAU COUNTY SUBSEQUENT INSERTIONS

SECOND INSERTION

Notice of Self Storage Sale

Please take notice Amelia Personal Storage located at 1431 Lewis St. Fernandina Beach FL 32034 intends to hold a sale to sell the property stored at the Facility by the below list of Occupants whom are in default at an Auction. The sale will occur as an online auction via www.lockerfox.com on 9/19/2024 at 11:45AM. Unless stated otherwise the description of the contents are household goods, furnishings and garage essentials. Cynthia Young unit #45. This sale may be withdrawn at any time without notice. Certain terms and conditions apply. See manager for details.

Aug. 29, Sep. 5 35 (24-00155N)

SECOND INSERTION

NOTICE Notice is hereby given that on September 10th, 2024. Storagetreasures.com Executive administrator for U-Haul company of Northern Florida, will be offering for sale under the judicial lien process; by public auction; the following storage units. Household goods are stored at the U-Haul center located at 1830 S 8TH St. Fernandina Beach, Fl 32034 Nassau

Karmisha Mccurley 1209 $736.46

kreshawn perkins 1217 $625.74

Orlando Real 1054 $820.25

Elexsis porter 1022 $670.49

Fransisco Travis 2010 $1,272.20

DENNIS MCCABE 020 $898.25

U-Haul company does reserve the right to refuse bids. The sale will begin Friday 09/06/2024 @ 9am and continue until Tuesday 09/10/2024 @ 9am.

Aug. 29, Sep. 5 35 (24-00151N)

SECOND INSERTION

The administration of the estate of Brett Madison aka Brett Allen Madison aka Brett A. Madison, deceased, whose date of death was December 7, 2023, is pending in the Circuit Court for Nassau County, Florida, Probate Division, the address of which is 76347 Veterans Way, Yulee, Florida 32097. The names and addresses of the personal representative and the personal representative’s attorney are set forth below.

All creditors of the decedent and other persons having claims or demands against decedent’s estate on whom a copy of this notice is required to be served must file their claims with this court ON OR BEFORE THE LATER OF 3 MONTHS AFTER THE TIME OF THE FIRST PUBLICATION OF THIS NOTICE OR 30 DAYS AFTER THE DATE OF SERVICE OF A COPY OF THIS NOTICE ON THEM.

The personal representative has no duty to discover whether any property held at the time of the decedent’s death by the decedent or the decedent’s surviving spouse is property to which the Florida Uniform Disposition of Community Property Rights at Death Act as described in ss. 732.216732.228, Florida Statutes, applies, or may apply, unless a written demand is made by a creditor as specified under s. 732.2211, Florida Statutes.

All other creditors of the decedent and other persons having claims or demands against decedent’s estate must file their claims with this court WITHIN 3 MONTHS AFTER THE DATE OF THE FIRST PUBLICATION OF THIS NOTICE.

ALL CLAIMS NOT FILED WITHIN THE TIME PERIODS SET FORTH IN FLORIDA STATUTES SECTION 733.702 WILL BE FOREVER BARRED. NOTWITHSTANDING THE TIME PERIODS SET FORTH ABOVE, ANY CLAIM FILED TWO (2) YEARS OR MORE AFTER THE DECEDENT’S DATE OF DEATH IS BARRED. The date of first publication of this notice is September 5, 2024.

Personal Representative: Kim Kitchen Madison 113 Caleb Way Byron, GA 31008

Attorney for

Personal Representative: Samantha J. Fitzgerald, Esq.

Attorney Florida Bar Number: 173762

SJF Law Group, P.A.

300 S. Pine Island Road, Suite 109 Plantation, FL 33324

Telephone: (954) 580.3690

Fax: (888) 663.6471

E-Mail: samantha

@estateandprobatelawyer.com Sep. 5/12 00 (24-00157N)

IN THE CIRCUIT COURT OF THE FOURTH JUDICIAL CIRCUIT, IN AND FOR NASSAU COUNTY, FLORIDA CASE: 45-2024-CP-367

DIVISION: A IN RE: THE ESTATE OF JAMES D. SHARP, Deceased.

NOTICE TO CREDITORS

The administration of the estate of JAMES D. SHARP, whose date of death was June 12, 2024, SSN XXX-XX-0456, Case No. 45-2024-CP-367, is pending in the Circuit Court for Nassau County, Florida, Probate Division A, the address of which is 76347 Veterans Way, Yulee, Florida 32097. The names and addresses of the personal representative and the personal representative’s attorney are set forth below. All creditors of the decedent and other persons having claims or demands against decedent’s estate, on whom a copy of this notice is served, must file their claims with this court WITHIN THE LATER OF 3 MONTHS AFTER THE DATE OF THE FIRST PUBLICATION OF THIS NOTICE OR 30 DAYS AFTER THE DATE OF SERVICE OF A COPY OF THIS NOTICE ON THEM. All creditors of the decedent and persons having claims or demands against the decedent’s estate must file their claims with this court WITHIN 3 MONTHS AFTER THE DATE

OF THE FIRST PUBLICATION OF THIS NOTICE. ALL CLAIMS NOT FILED WITHIN THE TIME PERIODS SET FORTH IN SECTION 733.702 OF THE FLORIDA PROBATE CODE WILL BE FOREVER BARRED. NOTWITHSTANDING THE TIME PERIOD SET FORTH ABOVE, ANY CLAIM FILED TWO YEARS OR MORE AFTER THE DECEDENT’S DATE OF DEATH IS BARRED.

A personal representative or curator has no duty to discover whether any property held at the time of the decedent’s death by the decedent or the decedent’s surviving spouse is property to which the Florida Uniform Disposition of Community Property Rights at Death Act as described in sections 732.216-732.228, applies, or may apply, unless a written demand is made by a creditor as specified under section 732.2211

The date of first publication of this Notice is August 29, 2024. Personal Representative: JACK W. SHARP of 1 Meadow Lane, Annandale, NJ 08801. Attorney for Petitioner: Pamela J. Soulé, Esq., 4812 San Juan Ave, Jacksonville, FL 32210; Phone (904) 910-3729; Florida Bar No. 77143. Aug. 29, Sep. 5 36 (24-00153N)

SECOND INSERTION

IN THE CIRCUIT COURT OF THE FOURTH JUDICIAL CIRCUIT, IN AND FOR NASSAU COUNTY, FLORIDA CASE: 45-2024-CP-336 DIVISION: A IN RE: THE ESTATE OF BILLY RAY EMERY Deceased. NOTICE TO CREDITORS

The administration of the estate of BILLY RAY EMERY, whose date of death was November 5, 2023, SSN XXX-XX-9630, Case No. 45-2024-CP-336, is pending in the Circuit Court for Nassau County, Florida, Probate Division A, the address of which is 76347 Veterans Way, Yulee, Florida 32097. The names and addresses of the personal representative and the personal representative’s attorney are set forth below. All creditors of the decedent and other persons having claims or demands against decedent’s estate, on whom a copy of this notice is served, must file their claims with this court WITHIN THE LATER OF 3 MONTHS AFTER THE DATE OF THE FIRST PUBLICATION OF THIS NOTICE OR 30 DAYS AFTER THE DATE OF SERVICE OF A COPY OF THIS NOTICE ON THEM. All creditors of the decedent and persons having claims or demands against the decedent’s estate must file their claims with this court WITHIN 3 MONTHS AFTER THE DATE

ST. JOHNS COUNTY LEGAL NOTICES

FIRST INSERTION FAMILY COURT OF THE STATE OF NEW YORK COUNTY OF SUFFOLK File#: 182527 Docket#: G-13928-24 In the Matter of an

OF THE FIRST PUBLICATION OF THIS NOTICE. ALL CLAIMS NOT FILED WITHIN THE TIME PERIODS SET FORTH IN SECTION 733.702 OF THE FLORIDA PROBATE CODE WILL BE FOREVER BARRED. NOTWITHSTANDING THE TIME PERIOD SET FORTH ABOVE, ANY CLAIM FILED TWO YEARS OR MORE AFTER THE DECEDENT’S DATE OF DEATH IS BARRED.

A personal representative or curator has no duty to discover whether any property held at the time of the decedent’s death by the decedent or the decedent’s surviving spouse is property to which the Florida Uniform Disposition of Community Property Rights at Death Act as described in sections 732.216-732.228, applies, or may apply, unless a written demand is made by a creditor as specified under section 732.2211

The date of first publication of this Notice is August 29, 2024.

Personal Representative: DONALD EMERY 54361 Church Rd., Callahan, FL 32011. Attorney for Petitioner: Pamela J. Soulé, Esq., 4812 San Juan Ave, Jacksonville, FL 32210; Phone (904) 910-3729; Florida Bar No. 77143. Aug. 29, Sep. 5 36 (24-00152N)

Floor: 2 Room: F25 to answer the attached petition and to be dealt with in accordance with the Family Court Act. Please bring this notice with you and check in with the Court Officer in the Part. If you fail to appear as directed, a warrant may be issued for your arrest.

Dated: August 30, 2024 Michael J. Williams, Chief Clerk NOTICE: FAMILY COURT ACT §154(C) PROVIDES THAT PETITIONS BROUGHT PURSUANT TO ARTICLES 4, 5, 6, 8 AND 10 OF THE FAMILY COURT ACT, IN WHICH AN ORDER OF PROTECTION IS SOUGHT OR IN WHICH A VIOLATION OF AN ORDER OF PROTECTION IS ALLEGED, MAY BE SERVED OUTSIDE THE STATE OF NEW YORK UPON A RESPONDENT WHO IS NOT A RESIDENT OR DOMICILIARY OF THE STATE OF NEW YORK. IF NO OTHER GROUNDS FOR OBTAINING PERSONAL JURISDICTION OVER THE RESPONDENT EXIST ASIDE FROM THE APPLICATION OF THIS PROVISION, THE EXERCISE OF PERSONAL JURISDICTION OVER THE RESPONDENT IS LIMITED TO THE ISSUE OF THE REQUEST FOR, OR ALLEGED VIOLATION OF, THE ORDER OF PROTECTION. WHERE THE RESPONDENT HAS BEEN SERVED WITH THIS SUMMONS AND PETITION AND DOES NOT APPEAR, THE FAMILY COURT MAY PROCEED TO A HEARING WITH RESPECT TO ISSUANCE OR ENFORCEMENT OF THE ORDER OF PROTECTION. Sep. 5/12 00 (24-00478J)

PUBLIC NOTICES

FIRST INSERTION

NOTICE UNDER FICTITIOUS NAME LAW

According to Florida Statute Number 865.09

NOTICE IS HEREBY GIVEN that the undersigned, desiring to engage in business under the Fictitious Name of One9 FengShui Leverage located at 101 Marketside Avenue, Suite 404-286, in the City of Ponte Vedra, St. Johns County, Florida 32081 intends to register the said name with the Division of Corporations of the Department of State, Tallahassee, Florida.

Dated at Jacksonville, Florida, this 29th day of August, 2024. zedd asset management LLC

By: Wee Shian Lim Sep. 5 00 (24-00472J)

FIRST INSERTION

NOTICE UNDER FICTITIOUS NAME LAW

According to Florida Statute Number 865.09

NOTICE IS HEREBY GIVEN that the undersigned, desiring to engage in business under the Fictitious Name of hayashi co located at 101 Marketside Avenue, Suite 404-286, in the City of Ponte Vedra Beach, St. Johns County, Florida 32081 intends to register the said name with the Division of Corporations of the Department of State, Tallahassee, Florida. Dated at Jacksonville, Florida, this 29th day of August, 2024. zedd asset management LLC By: Wee Shian Lim Sep. 5 00 (24-00471J)

INSERTION IN THE CIRCUIT COURT OF

SEVENTH JUDICIAL CIRCUIT IN AND FOR SAINT JOHNS COUNTY, FLORIDA GENERAL JURISDICTION DIVISION CASE NO. CA24-0916

MASSACHUSETTS MUTUAL LIFE INSURANCE COMPANY, Plaintiff, vs. MATTHEW PASQUALE, et. al. Defendant(s), NOTICE OF ACTIONCONSTRUCTIVE SERVICE TO: MATTHEW PASQUALE, UNKNOWN SPOUSE OF MATTHEW PASQUALE, whose residence is unknown and all parties having or claiming to have any right, title or interest in the property described in the mortgage being foreclosed herein. YOU ARE HEREBY NOTIFIED that an action to foreclose a mortgage on the following property: ALL THE FOLLOWING LAND, SITUATE, LYING AND BEING IN ST. JOHNS COUNTY, FLORIDA TO-WIT: OFFICIAL RECORDS BOOK 161, PAGE 367 STARTING AT N.E. COOPER N.E. CORNER RUN 150 FEET NORTH TO A PIPE, THENCE RUN 300 FEET WEST TO A PIPE, THEN RUN 150 FEET SOUTH TO COOPER NORTH WEST CORNER, THEN RUN 300 FEET EAST TO THE POINT OF BEGINNING. IN SECTION 40, TOWNSHIP 7 SOUTH,RANGE 29 EAST AND BEING ONE IN THE SAME AND MORE ACCURATELY DESCRIBED AS FOLLOWS: COMMENCE AT THE INTERSECTION OF THE SOUTHWESTERLY RIGHT OF WAY LINE OF FOUR MILE ROAD, AS IT CURRENTLY EXISTS WITH THE SOUTHERLY RIGHT OF WAY LINE OF STATE ROAD NO. 16, AS IT CURRENTLY EXISTS; THENCE S 59° 08’ 34” E, ALONG SAID SOUTHWESTERLY RIGHT OF WAY LINE OF FOUR MILE ROAD, A DISTANCE OF 365.41 FEET TO THE POINT OF INTERSECTION WITH THE WESTERLY RIGHT OF WAY LINE OF DEER RUN ROAD, AS IT CURRENTLY EXISTS; THENCE S 15° 44’ 00” E, ALONG SAID WESTERLY RIGHT OF WAY OF DEER RUN ROAD, A DISTANCE OF 454.98 FEET TO THE POINT OF BEGINNING FOR THE HEREIN

DESCRIBED PARCEL OF LAND; THENCE CON -

TINUE S 15°44’ 00” E, ALONG SAID WESTERLY RIGHT OF WAY LINE OF DEER RUN ROAD, A DISTANCE OF 150.00FEET TO THE NORTHEAST CORNER OF THOSE LANDS

DESCRIBED IN OFFICIAL RECORDS BOOK 4137, PAGE 822 OF THE PUBLIC RECORDS OF SAID COUNTY; THENCE S 74° 16’ 00” W, ALONG THE NORTH LINE OF SAID LANDS

DESCRIBED IN OFFICIAL

RECORDS BOOK 4137, PAGE 822, A DISTANCE OF 300.00 FEET THE EAST LINE OF THOSE LANDS DESCRIBED IN OFFICIAL

FIRST INSERTION

ALL ABOARD STORAGE NOTICE OF PUBLIC SALE

Personal property of the following tenants will be sold at public sale to the highest bidder to satisfy a rental lien in accordance with Florida Statutes, Sections: 83.801 - 83.809. All units are assumed to contain general household goods unless otherwise indicated. Viewing of photos will be available on www.lockerfox.com, up to 5 days prior to each scheduled sale. The owners or their agents reserve the right to bid on any unit and also to refuse any bid. All items or units may not be available on the day of sale. The Public Sale will take place via www.lockerfox.com on: Monday, September 23, 2024 1:00 PM., or thereafter, at: LIGHTSEY DEPOT 1740 Lightsey Rd, St. Augustine, FL 32084 (904) 209-5762

I-21 Randi Hardy

RECORDS BOOK 4461, PAGE 695 OF SAID PUBLIC RECORDS; THENCE N 15° 44’ 00” W, A DISTANCE OF 150.00 FEET TO THE SOUTHWEST CORNER OF THOSE LANDS DESCRIBED IN OFFICIAL RECORDS BOOK 355, PAGE 527 OF SAID PUBLIC RECORDS; THENCE N 74° 16’ 00” E, ALONG THE SOUTH LINE OF SAID LANDS DESCRIBED IN OFFICIAL RECORDS BOOK 355, PAGE 527, A DISTANCE OF 300.00 FEET TO THE POINT OF BEGINNING.TOGETHER WITH THE FOLLOWING DESCRIBED LANDS IN SECTION 40, TOWNSHIP 7 SOUTH, RANGE 29 EAST, ST. JOHNS COUNTY, FLORIDA; COMMENCING AT THE INTERSECTION OF THE SOUTH RIGHT OF WAY LINE OF STATE ROAD 16 AND THE SOUTHWESTERLY RIGHT OF WAY OF FOUR MILE ROAD; RUN THENCE 59° 00’ EAST ALONG SAID SOUTHWESTERLY RIGHT OF WAY LINE TO AN IRON PIPE AT THE INTERSECTION OF SAID SOUTHWESTERLY RIGHT OF WAY OF FOUR MILE ROAD AND THE WEST RIGHT OF WAY LINE OF AN UNNAMED COUNTY ROAD AS SHOWN IN DEED BOOK 207, PAGE 60, PUBLIC RECORDS OF ST. JOHNS COUNTY, FLORIDA; THENCE RUN SOUTH 15° 44’ EAST ALONG THE WEST RIGHT OF WAY LINE OF SAID UNNAMED ROAD 413.24 FEET TO THE POINT OF BEGINNING;THENCE CONTINUE SOUTH ALONG THE WEST RIGHT OF WAY LINE OF SAID UNNAMED ROAD 40 FEET TO THE NORTHEAST CORNER OF THE PROPERTY OF DEES AS RECORDED IN O.R. BOOK 161, PAGE 367; THENCE WEST ALONG SAID LAND OF DEES 300 FEET TO THE NORTHWEST CORNER OF SAID PROPERTY OF DEES; THENCE NORTH 40 FEET TO IRON PIPE AND THENCE EAST 300 FEET TO RIGHT OF WAY LINE OF UNNAMED COUNTY ROAD AND POINT OF BEGINNING. has been filed against you and you are required to serve a copy of your written defenses, if any, to it on counsel for Plaintiff, whose address is 6409 Congress Avenue, Suite 100, Boca Raton, Florida 33487 on or before October 7, 2024 and file the original with the clerk of this court either before service on Plaintiff’s attorney or immediately thereafter; otherwise a default will be entered against you for the relief demanded in the complaint or petition filed herein. WITNESS my hand and the seal of this Court at County, Florida, this 29th day of August, 2024.

BRANDON J. PATTY CLERK OF THE CIRCUIT COURT BY: Katy E. Spence Deputy Clerk (Court Seal) Robertson, Anschutz, Schneid, Crane & Partners, PLLC 6409 Congress Ave., Suite 100 Boca Raton, FL 33487

PRIMARY EMAIL: flmail@raslg.com 23-170562 Sep. 5/12 00 (24-00470J)

FIRST INSERTION

NOTICE UNDER FICTITIOUS NAME LAW

According to Florida Statute Number 865.09

NOTICE IS HEREBY GIVEN that the undersigned, desiring to engage in business under the Fictitious Name of Vicar’s Landing at Sawgrass located at 1000 Vicar’s Landing Way, in the City of Ponte Vedra Beach, St. Johns County, Florida 32082 intends to register the said name with the Division of Corporations of the Department of State, Tallahassee, Florida. Dated at Jacksonville, Florida, this 3rd day of August, 2024.

Life Care Ponte Vedra, Inc. By: D. Bruce Jones Sep. 5 00 (24-00475J)

The above Tenants have been given proper notice, fourteen days prior to the first publication of this Notice of Sale, that the Owner will enforce a statutory lien on the property located in their respective unit of the above-mentioned self-storage facilities. Sep. 5/12 00 (24-00468J)

INSERTION

IN THE CIRCUIT COURT FOR ST. JOHNS COUNTY, FLORIDA PROBATE DIVISION File No. CP24-0640 IN RE: ESTATE OF GEORGETTE M FISHER Deceased.

NOTICE TO CREDITORS

The administration of the estate of Georgette M Fisher, deceased, whose date of death was January 14, 2024, is pending in the Circuit Court for St. Johns County, Florida, Probate Division, the address of which is 4010 Lewis Speedway, St Augustine, Florida 32084. The names and addresses of the personal representative and the personal representative’s attorney are set forth below. All creditors of the decedent and other persons having claims or demands against decedent’s estate on whom a copy of this notice is required to be served must file their claims with this court ON OR BEFORE THE LATER OF 3 MONTHS AFTER THE TIME OF THE FIRST PUBLICATION OF THIS NOTICE OR 30 DAYS AFTER THE DATE OF SERVICE OF A COPY OF THIS NOTICE ON THEM.

All other creditors of the decedent and other persons having claims or demands against decedent’s estate must file their claims with this court WITHIN 3 MONTHS AFTER THE DATE OF THE FIRST PUBLICATION OF THIS NOTICE.

ALL CLAIMS NOT FILED WITHIN THE TIME PERIODS SET FORTH IN FLORIDA STATUTES SECTION 733.702 WILL BE FOREVER BARRED.

NOTWITHSTANDING THE TIME PERIODS SET FORTH ABOVE, ANY CLAIM FILED TWO (2) YEARS OR MORE AFTER THE DECEDENT’S DATE OF DEATH IS BARRED.

The personal representative has no duty to discover whether any property held at the time of the decedent’s death by the decedent or the decedent’s surviving spouse is property to which the Florida Uniform Disposition of Community Property Rights at Death Act as described in ss. 732.216732.228, Florida Statutes, applies, or may apply, unless a written demand is made by a creditor as specified under s. 732.2211, Florida Statutes.

The date of first publication of this Notice is September 5, 2024.

Proposed

Personal Representative:

/s/ Jack Edward Fisher

Jack Edward Fisher

c/o City Rescue Mission 234 West State Street Jacksonville, Florida 32202

Attorney for Proposed

Personal Representative:

/s/ Bradley J. Busbin

Bradley J. Busbin, Esquire

Florida Bar No. 0127504

Busbin Law Firm, P.A. 2295 S. Hiawassee Rd., Ste. 207 Orlando, FL 32835

Email: Brad@BusbinLaw.com

Telephone: (407) 955-4595

Fax: (407) 627-0318 Sep. 5/12 00 (24-00473J)

FIRST INSERTION

NOTICE UNDER FICTITIOUS NAME LAW

According to Florida Statute Number 865.09

NOTICE IS HEREBY GIVEN that the undersigned, desiring to engage in business under the Fictitious Name of Vicar’s Landing at Oak Bridge located at 1000 Vicar’s Landing Way, in the City of Ponte Vedra Beach, St. Johns County, Florida 32082 intends to register the said name with the Division of Corporations of the Department of State, Tallahassee, Florida. Dated at Jacksonville, Florida, this 3rd day of August, 2024.

Life Care Ponte Vedra, Inc. By: D. Bruce Jones Sep. 5 00 (24-00476J)

IN THE CIRCUIT COURT FOR ST. JOHNS COUNTY, FLORIDA PROBATE DIVISION File No. CP24-0644 Division 59 IN RE: ESTATE OF FRANCES LEE LEE a/k/a FRANCES REVELS LEE Deceased.

NOTICE TO CREDITORS (summary administration) TO ALL PERSONS HAVING CLAIMS OR DEMANDS AGAINST THE ABOVE ESTATE:

You are hereby notified that an Order of Summary Administration has been entered in the estate of Frances Lee Lee, a/k/a Frances Revels Lee, deceased, File Number CP24-0644, by the Circuit Court for St. Johns County, Florida, Probate Division, the address of which is 4010 Lewis Speedway, St. Augustine, Florida 32084; that the decedent’s date of death was July 31, 2024; that the total value of the estate is $61,000.00 and that the names and addresses of those to whom it has been assigned by such order are:

NOTICE

Atlantic Self Storage PUBLIC

SALE will be on September 26, 2024 at 10:00 AM Starting location: 65 Executive Way Ponte Vedra Beach, FL 32082 – Unit 200 – Madison Wenk; Unit 307 – Gwendolyn Walker; Unit 411 –Tatum Lindsey Corley; Unit 746 – Prashant Adi

IMMEDIATELY FOLLOW-

ING: 10450 US 1-N St. Augustine FL 32095 – Unit Welber Gonzalez; Unit 830 – Dean Curlin

IMMEDIATELY FOLLOWING: 2900 FL-16 St. Augustine, FL 32092 – Unit 110 – Cody Glass(2002 Black Honda Civic VIN:SHHEP33572U311079) (Motorcycle); Unit 305 – Donald Ficken; Unit 603 – Amanda Collins; Unit 802 – Dolores Carrion(business inventory); Unit 802 – Sage & Crystals LLC(Business inventory); Unit 910 – Nickola Edwards Thompson; Unit 2219 –Evan Reynolds; Unit 2221 – Crystal Pasley; Unit 2263 – Kody Lambert; Unit 4030 – Kim Wright; Unit 4046 – Allyson Smith; Unit 4118 – Jerrod Walden

IMMEDIATELY FOLLOW-

IN THE CIRCUIT COURT FOR ST. JOHNS COUNTY, FLORIDA PROBATE DIVISION File No. CP24-0624

Division: 59 IN RE: ESTATE OF SHIRLEY SMITH KING Deceased. NOTICE TO CREDITORS

The administration of the estate of Shirley Smith King, deceased, File Number: CP24-0624, whose date of death was July 13, 2024, is pending in the Circuit Court for St. Johns County, Florida, Probate Division, the address of which is 4010 Lewis Speedway, St. Augustine, FL 32084. The names and addresses of the personal representative and the personal representative’s attorney are set forth below.

All creditors of the decedent and other persons having claims or demands against decedent’s estate on whom a copy of this notice is required to be served must file their claims with this court ON OR BEFORE THE LATER OF 3 MONTHS AFTER THE TIME OF THE FIRST PUBLICATION

Darryl Leslie Lee 274 Alford Dr. Davenport, Florida 33896 ALL INTERESTED PERSONS ARE NOTIFIED THAT:

All creditors of the estate of the decedent and persons having claims or demands against the estate of the decedent other than those for whom provision for full payment was made in the Order of Summary Administration must file their claims with this court WITHIN THE TIME PERIODS SET FORTH IN FLORIDA STATUTES SECTION 733.702. ALL CLAIMS AND DEMANDS NOT SO FILED WILL BE FOREVER BARRED. NOTWITHSTANDING ANY OTHER APPLICABLE TIME PERIOD, ANY CLAIM FILED TWO (2) YEARS OR MORE AFTER THE DECEDENT’S DATE OF DEATH IS BARRED.

The personal representative has no duty to discover whether any property held at the time of the decedent’s death by the decedent or the decedent’s surviving spouse is property to which the Florida Uniform Disposition of Community Property Rights at Death Act as described in ss. 732.216732.228, Florida Statutes, applies, or may apply, unless a written demand is

INSERTION

ING: 1975 SR-16 St. Augustine FL 32084 – Unit 253 – James Wigg(Test equipment); Unit 258 – Christian Lee Harvey; Unit 264 – Casey Cantrell; Unit 311 –Shaina Brutoskt; Unit 573 – Melanie Lenell Newbern(2009 Ducati VIN:ZDM1RADN59B013984); Unit 575 – Roberto Arrufat; Unit 575 – Roberto Arrufat Sanchez; Unit 589 – Terry Antonio Carter; Unit 714 – Chardonnay Jones; Unit 745 – Linda George Singleton; Unit 746 – Linda George Singleton; Unit 753 – Steven Haskins; Unit 769 – Natasha Johnson; Unit 817 – Jack Valentino; Unit 819 –Jack Valentino; Unit 918 – James Wigg

IMMEDIATELY FOLLOW-

ING: 1865 A1A S St. Augustine, FL 32080 – Unit 9 – Philip Ray Smith; Unit 217 – Gwendolyn Brooke Sherrill; Unit 454 – Ada Cruz Alvalle; Unit 533 – Sylvia Crecelius; Unit 553 – Joe Dewett Johnson III; Unit 645 – Yaquasia Arianna Delcarmen; Unit 733 –Ruth Ann Wright; Unit 1071 – Jessica Regan; Unit 2032 – Cholette Lofton; Unit 2330 – Andrew Seebeck; Unit 3049 – Sean William

INSERTION

OF THIS NOTICE OR 30 DAYS AFTER THE DATE OF SERVICE OF A COPY OF THIS NOTICE ON THEM. The personal representative has no duty to discover whether any property held at the time of the decedent’s death by the decedent or the decedent’s surviving spouse is property to which the Florida Uniform Disposition of Community Property Rights at Death Act as described in ss. 732.216732.228, Florida Statutes, applies, or may apply, unless a written demand is made by a creditor as specified under s. 732.2211, Florida Statutes. All other creditors of the decedent and other persons having claims or demands against decedent’s estate must file their claims with this court WITHIN 3 MONTHS AFTER THE DATE OF THE FIRST PUBLICATION OF THIS NOTICE. ALL CLAIMS NOT FILED WITHIN THE TIME PERIODS SET FORTH IN FLORIDA STATUTES SECTION 733.702 WILL

Thompson; Unit 3222 – Robert Brennan

IMMEDIATELY FOLLOWING: 3990 US 1-South

BE FOREVER BARRED. NOTWITHSTANDING THE TIME PERIODS SET FORTH ABOVE, ANY CLAIM FILED TWO (2) YEARS OR MORE AFTER THE DECEDENT’S DATE OF DEATH IS BARRED. The date of first publication of this notice is September 5th, 2024.

Personal Representative: /s/ Mark Vernon Mark Douglas Vernon 282 Wandering Woods Way Ponte Vedra, Florida 32081

Attorney for Personal Representative: /s/ Jonathan P. Hermes

Jonathan P. Hermes, Esq.

Attorney

Florida Bar Number: 1011335

Ginn & Patrou, PLLC 460 A1A Beach Blvd.

St. Augustine, FL 32080

Telephone: (904) 461-3000

Fax: (844) 730-9828

E-Mail: service@ginnpatrou.com

Secondary E-Mail: jhermes@ginnpatrou.com Sep. 5/12 00 (24-00469J)

PUBLIC NOTICES

SECOND INSERTION

IN THE CIRCUIT COURT OF THE SEVENTH JUDICIAL CIRCUIT IN AND FOR ST. JOHNS COUNTY, FLORIDA CASE NO. CA23-1876 AFFLUENT FUNDING, INC. Plaintiffs,

v. 1679 SHEDD ROAD DEVELOPMENT, LLC; ALLEN JOSEPH SHERWOOD, III; ANITA MARIE SHERWOOD; ROBIN KINNEAR; RICHMOND AMERICAN HOMES OF FLORIDA, LP; LEGACY ENGINEERING, INC. Defendants. NOTICE OF FORECLOSURE SALE NOTICE IS HEREBY GIVEN pursuant to an Order Granting Motion To Schedule Second Foreclosure Sale entered on August 22, 2024, and entered in Case No. CA23-1876 in the Seventh Judicial Circuit in and for St. Johns County, Florida wherein Affluent Funding, Inc. is the Plaintiff and 1679 Shedd Road Development, LLC, Allen Joseph Sherwood, III, Anita Marie Sherwood, Robin Kinnear, Richmond American Homes Of Florida, LP, and Legacy Engineering, Inc. are the Defendant(s), I will sell to the highest and best bidder for cash at www.saintjohns.realforeclose.com the Clerk’s website for on-line auction at 12:00 p.m. on the 17th day of October, 2024, the following described property as set forth in said Final Judgment of Foreclosure, to wit: The property that is the subject matter of this action in St. Johns County, Florida, is described as follows: Lot 3, Deerfield Preserve Phase 3, according to the plat thereof, as recorded in Plat Book 86, Pages 48 through 55, public records of St. Johns County, Florida. Any person claiming an interest in the surplus from the sale, if any, other than the property owner as of the date of the lis pendens, must file a claim within 60 days after the sale in accordance with Florida Statues, Section 45.031. If you are a person with a disability who needs accommodation in order to participate in the proceeding, you are entitled, at no cost to you, to the provision of certain assistance. Please contact ADA Coordinator, Room 470, 201 S.E. Sixth Street, Fort Lauderdale, FL 33301, 954-831-7721 at least 7 days before your scheduled appearance, or immediately upon receiving this notification if the time before the scheduled appearance is less than 7 days; if you are hearing or voice impaired, call 711. Gary Brookmyer, Esquire Florida Bar No. 306746 Attorney for Plaintiff Brookmyer, Hochman, Probst & Jones, P.A. 800 Village Square Crossing, Suite 201 Palm Beach Gardens, Florida 33410 Email: gary@brookmyerlaw.com Telephone: (561) 624-2110

Aug. 29, Sep. 5 37 (24-00466J)

SECOND INSERTION

IN THE CIRCUIT COURT FOR ST JOHNS COUNTY, FLORIDA PROBATE DIVISION File No.: 55-2024-CP-000623

Division: 59 IN RE: ESTATE OF RICHARD WILLIAM WOLPERT, Deceased.

NOTICE TO CREDITORS

The administration of the estate of Richard William Wolpert, deceased, who died on April 17, 2024, is pending in the Circuit Court for St Johns County, Florida, Probate Division, the address of which is 4010 Lewis Speedway, St Augustine, FL 32084. The names and addresses of the personal representative are set forth below.

A personal representative or curator has no duty to discover whether any property held at the time of the decedent’s death by the decedent or the decedent’s surviving spouse is property to which the Florida Uniform Disposition of Community Property Rights at Death Act as described in sections 732.216-732.228, applies, or may apply, unless a written demand is made by a creditor as specified under section 732.2211.

All creditors of the decedent and other persons having claims or demands against decedent’s estate on whom a copy of this notice is required to be served must file their claims with this court WITHIN THE LATER OF 3 MONTHS AFTER THE TIME OF THE FIRST PUBLICATION OF THIS NOTICE OR 30 DAYS AFTER THE DATE OF SERVICE OF A COPY OF THIS NOTICE ON THEM.

All other creditors of the decedent and other persons having claims or demands against decedent’s estate must file their claims with this court WITHIN 3 MONTHS AFTER THE DATE OF THE FIRST PUBLICATION OF THIS NOTICE.

ALL CLAIMS NOT FILED WITHIN THE TIME PERIODS SET FORTH IN SECTION 733.702 OF THE FLORIDA PROBATE CODE WILL BE FOREVER BARRED. NOTWITHSTANDING THE TIME PERIODS SET FORTH ABOVE, ANY CLAIM FILED TWO (2) YEARS OR MORE AFTER THE DECEDENT’S DATE OF DEATH IS BARRED.

The date of first publication of this Notice is August 29, 2024. Personal Representative: Raymond William Wolpert

Attorney for Personal Representative: /s/ Dan W. Armstrong Dan W. Armstrong Attorney for Personal Representative Florida Bar No. 506613 Law Offices of Dan W. Armstrong, P.A. P.O. Box 1535 Ponte Vedra Beach, FL 32004-1535 Telephone: (904) 280-0058 Fax: (904) 280-0109 Aug. 29, Sep. 5 37 (24-00462J)

SECOND INSERTION

IN THE CIRCUIT COURT FOR ST. JOHNS COUNTY, FLORIDA PROBATE DIVISION File No. 2024-CP-0603 Division: Probate IN RE: ESTATE OF DIANE M. BENDER. Deceased. NOTICE TO CREDITORS

The administration of the estate of DIANE M. BENDER, deceased, whose date of death was September 22, 2024, is pending in the Circuit Court for St. Johns County, Florida, Probate Division, the address of which is 4010 Lewis Speedway, St. Augustine, FL 32084. The names and addresses of the personal representative and the personal representative’s attorney are set forth below. All creditors of the decedent and other persons having claims or demands against decedent’s estate, on whom a copy of this notice is required to be served, must file their claims with this court ON OR BEFORE THE LATER OF 3 MONTHS AFTER THE TIME OF THE FIRST PUBLICATION OF THIS NOTICE OR 30 DAYS AFTER THE DATE OF SERVICE OF A COPY OF THIS NOTICE ON THEM.

The personal representative or curator has no duty to discover whether any property held at the time of the decedent’s death by the decedent or the decedent’s surviving spouse is property to which the Florida Uniform Disposition of Community Property Rights at Death Act as described in ss. 732.216-732.228 applies, or may apply, unless a written demand is made by the surviving spouse or a beneficiary as specified under s. 732.2211. All other creditors of the decedent and other persons hav-

IN THE SEVENTH JUDICIAL CIRCUIT COURT, IN AND FOR ST. JOHNS COUNTY, FLORIDA PROBATE DIVISION File No. CP24-622 Division 59 IN RE: ESTATE OF KIM MARIE MATOS, Deceased.

NOTICE TO CREDITORS

The administration of the estate of KIM MARIE MATOS, deceased, whose date of death was July 17, 2024, is pending in the Circuit Court for St. Johns County, Florida, Probate Division, the address of which is 4010 Lewis Speedway, St. Augustine, FL 32084. The names and addresses of the personal representative and the personal representative’s attorney are set forth below. All creditors of the decedent and other persons having claims or demands against decedent’s estate on whom a copy of this notice is required to be served must file

IN THE CIRCUIT COURT OF THE SEVENTH JUDICIAL CIRCUIT IN AND FOR ST. JOHNS COUNTY, FLORIDA CIVIL ACTION CASE NO.: CA220226 BANK OF NEW YORK MELLON TRUST COMPANY, N.A. AS TRUSTEE FOR MORTGAGE ASSETS MANAGEMENT SERIES I TRUST, Plaintiff, vs. THE UNKNOWN HEIRS, DEVISEES, GRANTEES, ASSIGNEES, LIENORS, CREDITORS, TRUSTEES, OR OTHER CLAIMANTS CLAIMING BY, THROUGH, UNDER, OR AGAINST FRANCES P. RICHARDSON AKA FRANCES M. RICHARDSON AKA FRANCES PADGETT RICHARDSON AKA FRANCIS RICHARDSON AKA FRANCES MAE RICHARDSON, DECEASED , et al, Defendant(s).

NOTICE OF RESCHEDULED SALE

their claims with this court ON OR BEFORE THE LATER OF 3 MONTHS AFTER THE TIME OF THE FIRST PUBLICATION OF THIS NOTICE OR 30 DAYS AFTER THE DATE OF SERVICE OF A COPY OF THIS NOTICE ON THEM.

All other creditors of the decedent and other persons having claims or demands against decedent’s estate must file their claims with this court WITHIN 3 MONTHS AFTER THE DATE OF THE FIRST PUBLICATION OF THIS NOTICE.

The personal representative has no duty to discover whether any property held at the time of the decedent’s death by the decedent or the decedent’s surviving spouse is property to which the Florida Uniform Disposition of Community Property Rights at Death Act as described in ss. 732.216732.228, applies, or may apply, unless a written demand is made by a creditor as specified under s.

SECOND INSERTION

MINUTES 30 SECONDS EAST, ON SAID RIGHT -OF -WAY LINE, 995.36 FEET; THENCE NORTH 31 DEGREES 21 MINUTES 20 SECONDS EAST, ALONG THE CENTER LINE OF A DITCH AND THE NORTHEASTERLY EXTENSION OF SAIDCENTER LINE, 536.67 FEET; THENCE NORTH 60 DEGREES 35 MINUTES 50 SECONDS WEST 857.35 FEET TO THE POINT OF BEGINNING.

TOGETHER WITH THAT CERTAIN DOUBLEWIDE MOBILE HOME KNOWN AS A 1996 HOME, VIN NUMBERS FLHMLCF89214554A/B, TITLE NUMBERS 71721472 AND 71721473, AND RP#S R0706880 AND R0706879. SUBJECT TO EASEMENT FOR INGRESS AND EGRESS:

732.2211, Florida Statutes. ALL CLAIMS NOT FILED WITHIN THE TIME PERIODS SET FORTH IN FLORIDA STATUTES SECTION 733.702 WILL BE FOREVER BARRED. NOTWITHSTANDING THE TIME PERIOD SET FORTH ABOVE, ANY CLAIM FILED TWO (2) YEARS OR MORE AFTER THE DECEDENT’S DATE OF DEATH IS BARRED.

The date of first publication of this notice is August 29, 2024.

Personal Representative: DAVID BURNHAM 19024 SE 162nd St. Weirsdale, FL 32195

Attorney for Personal Representative: Heather S. Maltby HEATHER@EPPGLAW.COM

Florida Bar No. 116571

E.P.P.G. Law of St. Johns, PLLC 200 Malaga Street, Suite 2 St. Augustine, FL 32084 Telephone: 904-875-3774 Aug. 29, Sep. 5 37 (24-00467J)

SECOND INSERTION IN THE CIRCUIT COURT OF THE SEVENTH JUDICIAL CIRCUIT IN AND FOR ST. JOHNS COUNTY, FLORIDA PROBATE DIVISION File No. CP24-0627 Division 59 IN RE: ESTATE OF DEBRA K. GOBER, Deceased. NOTICE TO CREDITORS

ing claims or demands against decedent’s estate must file their claims with this court WITHIN 3 MONTHS AFTER THE DATE OF THE FIRST PUBLICATION OF THIS NOTICE. ALL CLAIMS NOT FILED WITHIN THE TIME PERIODS SET FORTH IN FLORIDA STATUTES SECTION 733.702 WILL BE FOREVER BARRED. NOTWITHSTANDING THE TIME PERIOD SET FORTH ABOVE, ANY CLAIM FILED TWO (2) YEARS OR MORE AFTER THE DECEDENT’S DATE OF DEATH IS BARRED. A personal representative or curator has no duty to discover whether any property held at the time of the decedent’s death by the decedent or the decedent’s surviving spouse is property to which the Florida Uniform Disposition of Community Property Rights at Death Act as described in Florida Statutes Sections 732.216-732.228 applies, or may apply, unless a written demand is made by a creditor as specified under Florida Statutes Section 732.2211. The date of first publication of this notice is August 29, 2024.

DAVID M. BENDER

Personal Representative 121 Lantern Oak Lane Ponte Vedra, FL 32081

LINDA R. WICKER

Attorney for Personal Representative Florida Bar No. 084174 Purcell, Flanagan, Hay & Greene 1548 Lancaster Terrace Jacksonville, Florida 32204

Telephone: (904) 355-0355

Email: lwicker@pfhglaw.com Secondary Email: shightower@pfhglaw.com Aug. 29, Sep. 5 37 (24-00463J)

PURSUANT TO CHAPTER 45 NOTICE IS HEREBY GIVEN Pursuant to an Order Rescheduling Foreclosure Sale dated July 30, 2024, and entered in Case No. CA220226 of the Circuit Court of the Seventh Judicial Circuit in and for St. Johns County, Florida in which Bank of New York Mellon Trust Company, N.A. as Trustee for Mortgage Assets Management Series I Trust, is the Plaintiff and The Unknown Heirs, Devisees, Grantees, Assignees, Lienors, Creditors, Trustees, or other Claimants claiming by, through, under, or against Frances P. Richardson aka Frances M. Richardson aka Frances Padgett Richardson aka Francis Richardson aka Frances Mae Richardson, deceased, Ashley Jean Rasor as Personal Representative of the Estate of Frances P. Richardson, deceased, United States of America Acting through Secretary of Housing and Urban Development, Thomas Richardson, Sr., David Medick, William Richardson, Michael Richardson, Ashley Jean Rasor as Successor Trustee of the Frances Padgett Richardson Revocable Living Trust dated September 10, 2021,Ashley Jean Rasor as Beneficiary of the Frances Padgett Richardson Revocable Living Trust dated September 10, 2021, The Unknown Beneficiaries of the Frances Padgett Richardson Revocable Living Trust dated September 10, 2021, Financial Freedom Senior Funding Corporation, Unknown Party #1 N/K/A Sean Rasor, are defendants, the St. Johns County Clerk of the Circuit Court will sell to the highest and best bidder for cash in/on online at online at: www.saintjohns.realforeclose.com St. Johns County, Florida at 12:00PM on the September 19, 2024 the following described property as set forth in said Final Judgment of Foreclosure:

PARCEL A:

A PARCEL OF LAND IN THE EDWARD ASHTON GRANT, SECTIONS 39 AND 40, TOWNSHIP 6 SOUTH, RANGE 28 EAST, SAINT JOHNS COUNTY, FLORIDA LYING EAST OF THE EAST RIGHT -OF -WAY LINE OF U.S. HIGHWAY I-95 AND BEING MORE FULLY DESCRIBED AS FOLLOWS: COMMENCING AT THE INTERSECTION OF THE NORTH LINE OF SAID SECTION 40 AND THE SOUTH LINE OF SECTION 38 WITH SAID EAST RIGHT -OF -WAY LINE OF U.S. HIGHWAY I-95; THENCE SOUTH 28 DEGREES 00 MINUTES 30 SECONDS EAST ON SAID EAST RIGHT -OF -WAY LINE, 201.84 FEET TO THE POINT OF BEGINNING; THENCE CONTINUE SOUTH 28 DEGREES 00

A STRIP OF LAND 40 FEET IN WIDTH, THE WEST LINE OF SAID STRIP OF LAND BEING THE EAST RIGHT -OF -WAY LINE OF U.S. HIGHWAY I-95, THE NORTH END OF SAID STRIP OF LAND BEING THE SOUTHEAST RIGHT -OF -WAY LINE OF A COUNTY ROAD KNOWN AS FREDDY FRANCIS ROAD AND THE SOUTH END OF SAID STRIP OF LAND BEING THE NORTHEASTERLY LINE OF THE ABOVE DESCRIBED PROPERTY. EXCEPTING THEREFROM THE PROPERTY DESCRIBED AS FOLLOWS: A PARCEL OF LAND IN THE EDWARD ASHTON GRANT, SECTIONS 39 AND 40, TOWNSHIP 6 SOUTH, RANGE 28 EAST, SAINT JOHNS COUNTY, FLORIDA, LYING EAST OF THE EAST RIGHT -OF -WAY LINE OF U.S. HIGHWAY I-95, AND BEING MORE FULLY DESCRIBED AS FOLLOWS: COMMENCING AT THE INTERSECTION OF THE NORTH LINE OF SAID SECTION 40 AND THE SOUTH LINE OF SECTION 38 WITH SAID EAST RIGHT OF WAY LINE OF U.S. HIGHWAY I-95; THENCE SOUTH 28 DEGREES 00 MINUTES 30 SECONDS EAST, ON SAID EAST RIGHT -OF -WAY LINE, 201.84 FEET TO THE POINT OF BEGINNING; THENCE CONTINUING SOUTH 28 DEGREES 00 MINUTES 30 SECONDS EAST ON SAID RIGHT -OF -WAY LINE, 430.90 FEET; THENCE NORTH 32 DEGREES 20 MINUTES 55 SECONDS EAST 232.40 FEET; THENCE NORTH 60 DEGREES 35 MINUTES 50 SECONDS WEST 375.00 FEET TO THE POINT OF BEGINNING.

TOGETHER WITH AN EASEMENT FOR INGRESS AND EGRESS OVER A STRIP OF LAND 40 FEET IN WIDTH, THE WEST LINE OF SAID STRIP OF LAND BEING THE EAST RIGHT -OF -WAY LINE OF U.S. HIGHWAY I-95, THE NORTH END OF SAID STRIP OF LAND BEING THE SOUTHEAST RIGHT -OF -WAY LINE OF A COUNTY ROAD KNOWN AS FREDDY FRANCIS ROAD AND THE SOUTH END OF SAID STRIP OF LAND BEING THE NORTHEASTERLY LINE OF THE ABOVE DESCRIBED PROPERTY. LESS AND EXCEPT THE FOLLOWING DESCRIBED PARCEL AS RECORDED IN OFFICIAL RECORDS

BOOK 1225, PAGE 996, OF THE PUBLIC RECORDS OF SAINT JOHNS COUNTY, FLORIDA, MORE PARTICULARLY DESCRIBED AS FOLLOWS: A PARCEL OF LAND IN THE EDWARD ASHTON GRANT, SECTION 39, TOWNSHIP 6 SOUTH, RANGE 28 EAST, SAINT JOHNS COUNTY, FLORIDA LYING EAST OF THE EAST RIGHT -OF -WAY LINE OF U.S. HIGHWAY INTERSTATE ROUTE 95 AND BEING MORE FULLY DESCRIBED AS FOLLOWS: COMMENCING AT THE INTERSECTION OF THE NORTH LINE OF SECTION 40 AND THE SOUTH LINE OF SECTION 38 OF SAID EAST RIGHT -OF -WAY LINE OF U.S. HIGHWAY I-95; THENCE SOUTH 28 DEGREES 00 MINUTES 30 SECONDS EAST ON SAID EAST RIGHT -OF -WAY LINE, 632.74 FEET; THENCE NORTH 32 DEGREES 20 MINUTES 55 SECONDS EAST 92.66 FEET TO THE POINT OF BEGINNING AT THE SOUTHWEST CORNER OF THE HEREIN DESCRIBED PARCEL OF LAND; THENCE CONTINUING NORTH 32 DEGREES 20 MINUTES

55 SECONDS EAST 139.74

FEET; THENCE SOUTH

60 DEGREES 35 MINUTES 50 SECONDS EAST, ON THE SOUTHWEST LINE OF A 20 FOOT WIDTH ROAD EASEMENT, 61.43 FEET; THENCE SOUTH 25 DEGREES 34 MINUTES 43 SECONDS WEST 133.04 FEET; THENCE NORTH 65 DEGREES 37 MINUTES 05 SECONDS WEST 77.79 FEET TO THE POINT OF BEGINNING.

SUBJECT TO EASEMENT FOR EXISTING DIRT ROAD ALONG THE NORTHEAST SIDE OF THE HEREIN DESCRIBED PARCEL OF LAND, SAID EASEMENT BEING 20 FOOT IN WIDTH AND LYING 10 FEET ON THE EAST SIDE OF THE CENTERLINE OF SAID DIRT ROAD.

A/K/A 4485 N. FRANCIS RD SAINT AUGUSTINE FL 32095

Any person claiming an interest in the surplus from the sale, if any, other than the property owner as of the date of the Lis Pendens must file a claim before the Clerk reports the surplus as unclaimed. ATTENTION: PERSONS WITH DISABILITIES

If you are a person with a disability who needs an accommodation in order to participate in this proceeding, you are entitled, at no cost to you, to the provision of certain assistance. Please contact Court Administration, 4010 Lewis Speedway, St. Augustine, FL 32084, Tel: (904) 819-3646, within 2 days of your receipt of this notice. If you are hearing impaired, call 1-800-955-8771; if you are voice impaired, call 1-800955-8770. THIS IS NOT A COURT INFORMATION LINE. To file response please contact St. John’s County Clerk of Court, 4010 Lewis Speedway, St. Augustine, FL 32084, Tel: (904) 819-3646; Fax: (904) 8193662. Dated this 21st day of August, 2024. ALBERTELLI LAW P. O. Box 23028 Tampa, FL 33623 Tel: (813) 221-4743 Fax: (813) 221-9171 eService: servealaw@albertellilaw.com

By: /s/ Nathan Gryglewicz Florida Bar #762121 Nathan Gryglewicz, Esq. CT - 21-008780 Aug. 29, Sep. 5 37 (24-00460J)

The administration of the estate of Debra K. Gober, deceased, whose date of death was June 5, 2024, is pending in the Circuit Court for St. Johns County, Florida, Probate Division, the address of which is Circuit Court of the Seventh Judicial Circuit, 4010 Lewis Speedway, St. Augustine, FL 32084. The names and addresses of the personal representative and the personal representative’s attorney are set forth below. All creditors of the decedent and other persons having claims or demands against decedent’s estate on whom a copy of this notice is required to be served must file their claims with this court ON OR BEFORE THE LATER OF 3 MONTHS AFTER THE TIME OF THE FIRST PUBLICATION OF THIS NOTICE OR 30 DAYS AFTER THE DATE OF SERVICE OF A COPY OF THIS NOTICE ON THEM. All other creditors of the decedent and other persons having claims or demands against decedent’s estate must file their claims with this court WITHIN 3 MONTHS AFTER THE DATE OF THE FIRST PUBLICATION OF THIS NOTICE. The personal representative has no duty to discover whether any property held at the time of the decedent’s death by the decedent or the decedent’s surviving spouse is property to which the Florida Uniform Disposition of Community Property Rights at Death Act as described in ss. 732.216732.228, applies, or may apply, unless a written demand is made by a creditor as specified under s. 732.2211, Florida Statutes. ALL CLAIMS NOT FILED WITHIN THE TIME PERIODS SET FORTH IN FLORIDA STATUTES SECTION 733.702 WILL BE FOREVER BARRED. NOTWITHSTANDING THE TIME PERIOD SET FORTH ABOVE, ANY CLAIM FILED TWO (2) YEARS OR MORE AFTER THE DECEDENT’S DATE OF DEATH IS BARRED. The date of first publication of this notice is August 29, 2024. Personal Representative: Jon D Gober Sr 123 Palmer Street St. Augustine, FL 32084 Attorney for Personal Representative: Brittany Fraser Keith, Esq. Florida Bar No. 0111489 Law Office of Brittany Fraser Keith, PLLC 1510 N Ponce de Leon Blvd., Ste A-1 St. Augustine, FL 32084 Telephone: 904.351.0212 brittany@bfk-law.com Aug. 29, Sep. 5 37 (24-00461J)

Business Leads

BUSINESS LEADS

Since 1912, The Daily Record is the source for business and legal information that helps many of Jacksonville’s most successful businesses thrive and grow. Use the listings published on jaxdailyrecord.com under the Court Records tab and turn information into results.

BUILDING PERMITS

How to use this information:

Target hundreds of new businesses. Manage the level of risk for your business. Generate more business through The Daily Record’s published wealth of data.

Official permission from the city’s Planning & Development department to make alterations, build new or demolish buildings or parts of buildings which are regulated by the technical codes.

For a current list of approved Building Permits visit JaxDailyRecord.com under the Court Records tab.

NEW BUSINESSES

Anyone who operates a business in Duval County must obtain an occupational license from the tax collector. Once a week, all new business licenses are published online at JaxDailyRecord.com under the Court Records tab. Useful to anyone providing goods or services to business customers.

Duval County Tax Collector | 231 E. Forsyth St., Room 130 | Jacksonville, FL 32202 | 904-255-5700 opt. 3

From the courts

DUVAL COUNTY CLERK OF COURTS

Daily information on County and Circuit Court Actions, plus the listing of Documents Filed for Record with the Duval County Clerk of the Courts now available online.

FAMILY LAW

https://legals.jaxdailyrecord.com/ legals_home.php

New court cases filed involving marriage, adoption, paternity or divorce.

PROBATE

New court cases involving the instructions of a deceased person, deciding who will be the executor (personal representative) of an estate, or adjudicating the interests of heirs and other parties who may have claims against an estate.

CIVIL ACTIONS

New court cases involving suits filed by a plaintiff for damages alleged to have been caused by the actions or negligence of a defendant, which can be an individual or a business, corporation or government entity.

COUNTY CIVIL

New court cases not involving money such as eviction, transfer of rights, requiring cessation of an activity, etc.

CIVIL ORDERS

Judgments of court cases not involving money such as eviction, transfer of rights, requiring cessation of an activity, etc.

ORDERS & DECREES

Reports of court finding and decisions such as granting of dissolution, final judgments, etc.

Turn static files into dynamic content formats.

Create a flipbook
Issuu converts static files into: digital portfolios, online yearbooks, online catalogs, digital photo albums and more. Sign up and create your flipbook.