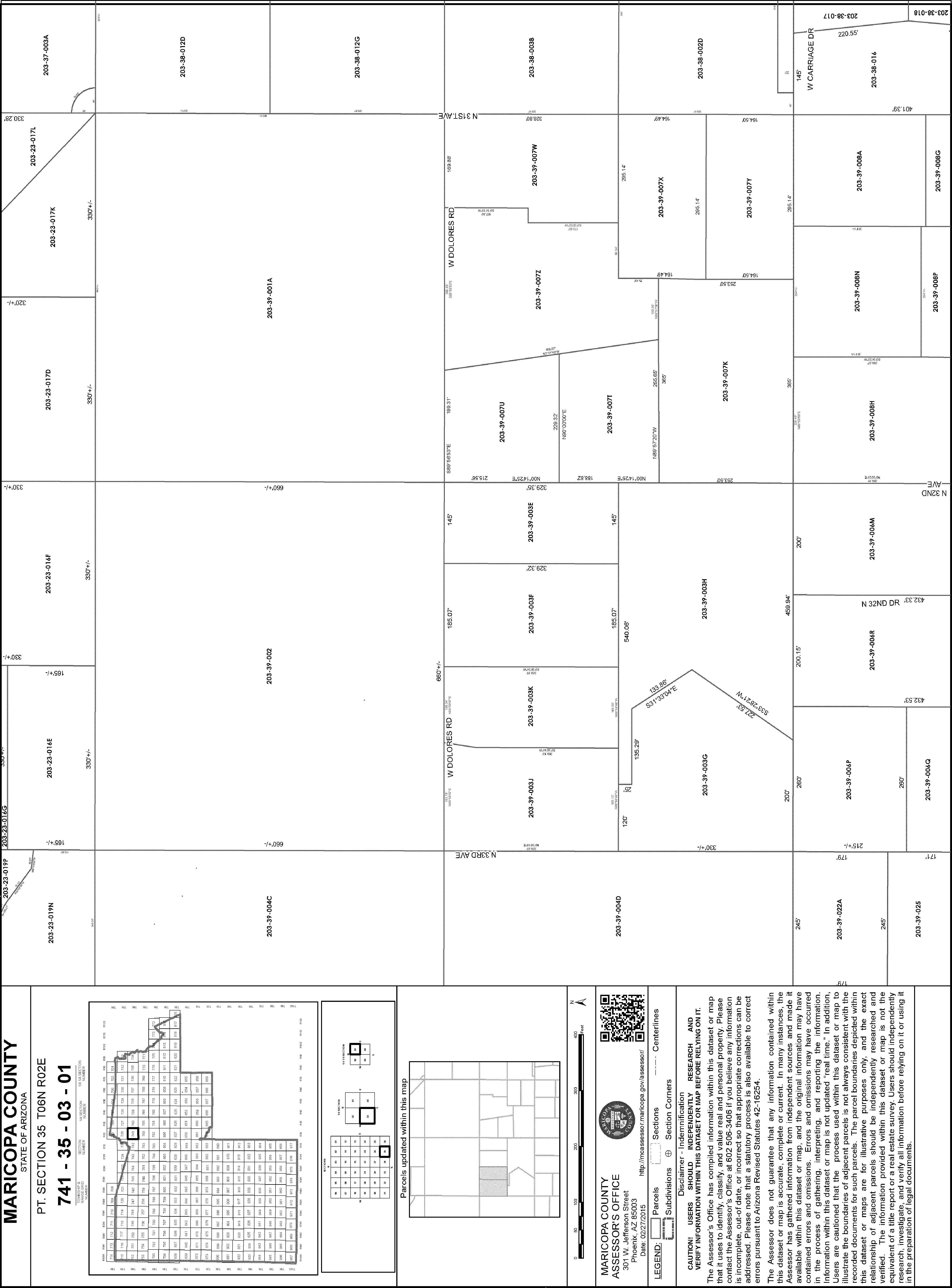
203-39-004C and 004D

Page 1

Subject Property 36826 N 33rd Ave Phoenix AZ 85086 APN: 203-39-004-C Data Provided By: First American Title Ins Co © 2022 CoreLogic. All rights reserved

LIMITATION OF LIABILITY FOR INFORMATIONAL REPORTS

IMPORTANT -- PLEASE READ CAREFULLY:

This report is not an insured product or service or a representation of the condition of title to real property. It is not an abst ract, legal opinion, opinion of title, title insurance commitment or preliminary report, or any form of Title Insurance or Guaranty. This report is issued exclusively for the benefit of the Applicant therefor and may not be used or relied upon by any other person. This report may not be reproduced in any manner without First American or Title Security's prior written consent. First American or Title Security does not represent or warrant that the information herein is complete or free from error, and the information herein is provided without any warranties of any kind, as-is, and with all faults. As a material part of the consideration given in exchange for the issuance of this report, recipient agrees that First American or Title Security's sole liability for any loss or damage caused by an error or omission due to inaccurate information or negligence in preparing this report shall be limited to the fee charged for the report. Recipient accepts this report with this limitation and agrees that First American or Title Security would not have issued this report but for the limitation of liability described above. First American or Title Security makes no representation or warranty as to the legality or propriety of recipient's use of the information herein.

Disclaimer

This REiSource report is provided "as is" without warranty of any kind, either express or implied, including without limitations any warrantees of merchantability or fitness for a particular purpose. There is no representation of warranty that this information is complete or free from error, and the provider does not assume, and expressly disclaims, any liability to any person or entity for loss or damage caused by errors or omissions in this REiSource report without a title insurance policy.

The information contained in the REiSource report is delivered from your Title Company, who reminds you that you have the right as a consumer to compare fees and serviced levels for Title, Escrow, and all other services associated with property ownership, and to select providers accordingly. Your home is the largest investment you will make in your lifetime and you should demand the very best.

Data Provided By: First American Title Ins Co
© 2022 CoreLogic. All rights reserved

Subject Property :   36826 N 33rd Ave Phoenix AZ 85086

Owner Information

Owner Name : Bellar David L

Mailing Address : 2466 N Oakmont Dr, Flagstaff AZ 86004-7434 R010

Vesting Codes : / / Living Trust

Owner Occupied Indicator : A

Location Information

Legal Description : Ne4 Nw4 Sw4

County : Maricopa, Az

Census Tract / Block : 6105.00 / 1

Township-Range- Sect : 06N-02E-35

Last Market Sale Information

APN : 203-39-004-C

School District : Deer Valley 97

Neighbor Code : 08-006

Recording/Sale Date : 02/19/2020 / 01/00/2020 Document # : 140643

Sale Price : $550,000 Deed Type : Warranty Deed

Seller Name : Cosper Edward T & Mar

Prior Sale Information

Prior Rec/Sale Date : 02/18/1992

Prior Doc Number : 80486

Property Information

Land Use : Residential Acreage Lot Acres : 10.00

Zoning : RU-43 Lot Size : 435,600

Tax Information

Total Value : $406,800

Land Value : $406,800

Total Taxable Value : $22,268

Assessed Year : 2021

Prior Deed Type : Deed (reg)

State Use : Vac-res-rural Non Subd

Tax Year : 2022 Fire Dept Tax : 11577

Property Tax : $2,924.36

Tax Rate Area : 970001

Market Value : $406,800

Current Assessed Year : 2023

Current Year Total Value : $64,905

Current Year Land Value : $64,905

Customer Name : Kariann Keomaka

Customer Company Name : First American Title Insurance Company

Prepared On : 11/10/2022

©
All rights reserved
2022 CoreLogic.

S 36826 N 33rd Ave 550,000 406,800 02/19/2020 435,600 RU-43 1 250,000 82,600 07/01/2022 62,384 0.08 RU-43 2 190,000 91,200 01/18/2022 57,288 0.18 RU-43 3 190,000 81,300 01/18/2022 49,101 0.19 RU-43 4 3416 W Rambling Rd 212,000 115,800 04/25/2022 87,289 0.2 RU-43 5 36707 N 31st Ln 159,000 77,200 02/15/2022 45,807 0.24 RU-43 6 210,700 146,800 04/20/2022 108,900 0.32 RU-43 7 240,000 172,100 04/21/2022 148,602 0.37 RU-43 8 100,000 75,700 12/29/2021 53,938 0.48 RU-43 9 100,000 75,700 12/29/2021 53,866 0.5 RU-43 10 100,000 76,000 12/29/2021 53,776 0.52 RU-43 11 100,000 76,300 12/29/2021 53,641 0.54 RU-43 12 185,000 135,500 04/21/2022 107,741 0.6 RU-43 13 2852 W Maddock Rd 205,000 152,900 01/20/2022 115,086 0.6 RU-43

Sales Analysis Criteria Subject Property Low High Average
# Address Sale Price Total Assessed Value Sale Date Bed Bath Living Area Lot Size Year Built Dist (Miles) Zoning
© 2022 CoreLogic. All rights reserved
Sale Price $550,000 $100,000 $265,000 $171,185 Bldg/Living Area Price Per Square Foot $1 $6 $2.39 Year Built Lot Size 435,600 43,608 245,108 82,981 Bedrooms Bathrooms Stories Total Assessed Value $406,800 $51,912 $184,600 $103,571 Distance From Subject 0 0.08 0.88 0.49 Summary of Comparables
Customer Name : Kariann Keomaka Customer Company Name : First American Title Insurance Company Prepared On : 11/10/2022
14 3126 W Joy Ranch Rd 107,000
RU-43 15 135,000
16
17 3121 W Blue Eagle Ln 170,000
18
19
20
Distressed Sales = Map Customer Name : Kariann Keomaka Customer Company Name : First American Title Insurance Company Prepared On : 11/10/2022 © 2022 CoreLogic. All rights reserved
81,500 03/10/2022 54,450 0.62
51,912 11/23/2021 49,515 0.62 RU-43
150,000 184,600 03/18/2022 163,350 0.68 RU-43
78,400 02/16/2022 51,719 0.7 RU-43
265,000 80,000 04/15/2022 43,608 0.72 RU-43
220,000 154,400 08/31/2022 245,108 0.81 RU-43
135,000 81,500 11/10/2021 54,460 0.88 RU-43

Details of Comparables

Subject Property: 36826 N 33rd Ave Phoenix Az 85086

Owner Name: Bellar David L / APN / Alternate APN: 203-39-004-C / Deed Type: Warranty Deed Land Use: Residential Acreage Subdivision / Tract: / Lot Size: 435,600 Year Built / Eff: / Rec. Date / Price: 02/19/2020 / $550,000 Living Area: # of units: Document #: 140643 Bedrooms: Pool: Total Tax Value: $406,800 Bath(F/H): /

#1   Az

Owner Name: Johnston Brad R /Johnston Lauren N APN / Alternate APN: 203-23-019-L / Deed Type: Warranty Deed Land Use: Residential Acreage Subdivision / Tract: / Lot Size: 62,384 Year Built / Eff: / Rec. Date / Price: 07/01/2022 / $250,000 Living Area: # of units: Document #: 546315 Bedrooms: Pool: Total Tax Value: $82,600 Bath(F/H): /

#2   Az

Owner Name: Landry Family Trust / APN / Alternate APN: 203-39-004-J / Deed Type: Warranty Deed Land Use: Residential Acreage Subdivision / Tract: / Lot Size: 57,288 Year Built / Eff: / Rec. Date / Price: 01/18/2022 / $190,000 Living Area: # of units: Document #: 49545 Bedrooms: Pool: Total Tax Value: $91,200 Bath(F/H): /

#3   Az

Owner Name: Landry Family Trust / APN / Alternate APN: 203-39-004-K / Deed Type: Warranty Deed Land Use: Residential Acreage Subdivision / Tract: / Lot Size: 49,101 Year Built / Eff: / Rec. Date / Price: 01/18/2022 / $190,000 Living Area: # of units: Document #: 49545 Bedrooms: Pool: Total Tax Value: $81,300 Bath(F/H): /

#4   3416 W Rambling Rd Phoenix Az 85086

Owner Name: Abbate Julie /Abbate Michael APN / Alternate APN: 203-23-012-L / Deed Type: Warranty Deed Land Use: Residential Acreage Subdivision / Tract: / Lot Size: 87,289 Year Built / Eff: / Rec. Date / Price: 04/25/2022 / $212,000 Living Area: # of units: Document #: 362076 Bedrooms: Pool: Total Tax Value: $115,800 Bath(F/H): /

Customer Company Name : First American Title Insurance Company Prepared On : 11/10/2022

Customer Name : Kariann Keomaka
© 2022 CoreLogic. All rights reserved

#5   36707 N 31st Ln Phoenix Az 85086

Owner Name: Johnson Daniel /Johnson Jessica APN / Alternate APN: 203-39-007-T / Deed Type: Warranty Deed Land Use: Residential Acreage Subdivision / Tract: / Lot Size: 45,807 Year Built / Eff: / Rec. Date / Price: 02/15/2022 / $159,000 Living Area: # of units: Document #: 137954 Bedrooms: Pool: Total Tax Value: $77,200 Bath(F/H): /

#6   Az

Owner Name: Anand Suman / APN / Alternate APN: 203-23-017-G / Deed Type: Warranty Deed Land Use: Residential Acreage Subdivision / Tract: / Lot Size: 108,900 Year Built / Eff: / Rec. Date / Price: 04/20/2022 / $210,700 Living Area: # of units: Document #: 346954 Bedrooms: Pool: Total Tax Value: $146,800 Bath(F/H): /

#7   Az

Owner Name: Milberg Jacob E /Milberg Junko APN / Alternate APN: 203-23-020-C / Deed Type: Warranty Deed Land Use: Residential Acreage Subdivision / Tract: / Lot Size: 148,602 Year Built / Eff: / Rec. Date / Price: 04/21/2022 / $240,000 Living Area: # of units: Document #: 351082 Bedrooms: Pool: Total Tax Value: $172,100 Bath(F/H): /

#8   Az

Owner Name: Davis Laroie S / APN / Alternate APN: 203-37-004-E / Deed Type: Warranty Deed Land Use: Residential Acreage Subdivision / Tract: / Lot Size: 53,938 Year Built / Eff: / Rec. Date / Price: 12/29/2021 / $100,000 Living Area: # of units: Document #: 1380915 Bedrooms: Pool: Total Tax Value: $75,700 Bath(F/H): /

#9   Az

Owner Name: Davis Laroie S / APN / Alternate APN: 203-37-004-F / Deed Type: Warranty Deed Land Use: Residential Acreage Subdivision / Tract: / Lot Size: 53,866 Year Built / Eff: / Rec. Date / Price: 12/29/2021 / $100,000 Living Area: # of units: Document #: 1380819 Bedrooms: Pool: Total Tax Value: $75,700 Bath(F/H): /

#10   Az

Owner Name: Davis Laroie S / APN / Alternate APN: 203-37-004-G / Deed Type: Warranty Deed Land Use: Residential Acreage Subdivision / Tract: / Lot Size: 53,776 Year Built / Eff: / Rec. Date / Price: 12/29/2021 / $100,000 Living Area: # of units: Document #: 1380847 Bedrooms: Pool: Total Tax Value: $76,000 Bath(F/H): /

Customer Name : Kariann Keomaka

Customer Company Name : First American Title Insurance Company Prepared On : 11/10/2022

CoreLogic.

©
All rights reserved
2022

#11   Az

Owner Name: Davis La Roie S / APN / Alternate APN: 203-37-004-H / Deed Type: Warranty Deed Land Use: Residential Acreage Subdivision / Tract: / Lot Size: 53,641 Year Built / Eff: / Rec. Date / Price: 12/29/2021 / $100,000 Living Area: # of units: Document #: 1380891 Bedrooms: Pool: Total Tax Value: $76,300 Bath(F/H): /

#12   Az

Owner Name: Orn David / APN / Alternate APN: 203-36-017-B / Deed Type: Warranty Deed Land Use: Residential Acreage Subdivision / Tract: / Lot Size: 107,741 Year Built / Eff: / Rec. Date / Price: 04/21/2022 / $185,000 Living Area: # of units: Document #: 350736 Bedrooms: Pool: Total Tax Value: $135,500 Bath(F/H): /

#13   2852 W Maddock Rd Phoenix Az 85086

Owner Name: Hamilton Richard S / APN / Alternate APN: 203-37-010-E / Deed Type: Warranty Deed Land Use: Residential Acreage Subdivision / Tract: / Lot Size: 115,086 Year Built / Eff: / Rec. Date / Price: 01/20/2022 / $205,000 Living Area: # of units: Document #: 59294 Bedrooms: Pool: Total Tax Value: $152,900 Bath(F/H): /

#14   3126 W Joy Ranch Rd Phoenix Az 85086

Owner Name: Benitez Sergio /Sanchez Yolanda APN / Alternate APN: 203-36-012-H / Deed Type: Warranty Deed Land Use: Residential Acreage Subdivision / Tract: / Lot Size: 54,450 Year Built / Eff: / Rec. Date / Price: 03/10/2022 / $107,000 Living Area: # of units: Document #: 221491 Bedrooms: Pool: Total Tax Value: $81,500 Bath(F/H): /

#15   Az

Owner Name: Rousu Donald E /Rousu Lois A APN / Alternate APN: 203-37-007-J / Deed Type: Warranty Deed Land Use: Residential Acreage Subdivision / Tract: / Lot Size: 49,515 Year Built / Eff: / Rec. Date / Price: 11/23/2021 / $135,000 Living Area: # of units: Document #: 1248795 Bedrooms: Pool: Total Tax Value: $51,912 Bath(F/H): /

#16   Az

Owner Name: Rahana Fikri /Rahana Bushra APN / Alternate APN: 203-36-004-F / Deed Type: Warranty Deed Land Use: Residential Acreage Subdivision / Tract: / Lot Size: 163,350 Year Built / Eff: / Rec. Date / Price: 03/18/2022 / $150,000 Living Area: # of units: Document #: 245548 Bedrooms: Pool: Total Tax Value: $184,600 Bath(F/H): /

Customer Name : Kariann Keomaka

Customer Company Name : First American Title Insurance Company Prepared On : 11/10/2022

© 2022 CoreLogic. All rights reserved

#17   3121 W Blue Eagle Ln Phoenix Az 85086

Owner Name: Maena Francis /Johnson Christine

APN / Alternate APN: 203-36-012-N / Deed Type: Warranty Deed Land Use: Residential Acreage Subdivision / Tract: / Lot Size: 51,719 Year Built / Eff: / Rec. Date / Price: 02/16/2022 / $170,000 Living Area: # of units: Document #: 142094 Bedrooms: Pool: Total Tax Value: $78,400 Bath(F/H): /

#18   Az

Owner Name: Barry Brian / APN / Alternate APN: 203-38-049-A / Deed Type: Warranty Deed Land Use: Residential Acreage Subdivision / Tract: / Lot Size: 43,608 Year Built / Eff: / Rec. Date / Price: 04/15/2022 / $265,000 Living Area: # of units: Document #: 333393 Bedrooms: Pool: Total Tax Value: $80,000 Bath(F/H): /

#19   Az

Owner Name: Mihaila Loan /Mihaila Nicoleta APN / Alternate APN: 203-38-004-A / Deed Type: Warranty Deed Land Use: Residential Acreage Subdivision / Tract: / Lot Size: 245,108 Year Built / Eff: / Rec. Date / Price: 08/31/2022 / $220,000 Living Area: # of units: Document #: 680415 Bedrooms: Pool: Total Tax Value: $154,400 Bath(F/H): /

#20   Az

Owner Name: Tourtchaninov Ross /Tourtchaninov Julie APN / Alternate APN: 203-36-003-E / Deed Type: Warranty Deed Land Use: Residential Acreage Subdivision / Tract: / Lot Size: 54,460 Year Built / Eff: / Rec. Date / Price: 11/10/2021 / $135,000 Living Area: # of units: Document #: 1209560 Bedrooms: Pool: Total Tax Value: $81,500 Bath(F/H): /

Customer Name : Kariann Keomaka

Customer Company Name : First American Title Insurance Company

Prepared On : 11/10/2022

© 2022 CoreLogic. All rights reserved
© 2022 CoreLogic. All rights reserved
Subject Property :   36826 N 33rd Ave Phoenix AZ 85086 Customer Name : Kariann Keomaka Customer Company Name : First American Title Insurance Company Prepared On : 11/10/2022

Customer Name : Kariann Keomaka Customer Company Name : First American Title Insurance Company Prepared On : 11/10/2022 © 2022 CoreLogic.

rights reserved
All
Subject Property 36702 N 33rd Ave Phoenix AZ 85086 APN: 203-39-004-D Data Provided By: First American Title Ins Co © 2022 CoreLogic. All rights reserved

Disclaimer

This REiSource report is provided "as is" without warranty of any kind, either express or implied, including without limitations any warrantees of merchantability or fitness for a particular purpose. There is no representation of warranty that this information is complete or free from error, and the provider does not assume, and expressly disclaims, any liability to any person or entity for loss or damage caused by errors or omissions in this REiSource report without a title insurance policy.

The information contained in the REiSource report is delivered from your Title Company, who reminds you that you have the right as a consumer to compare fees and serviced levels for Title, Escrow, and all other services associated with property ownership, and to select providers accordingly. Your home is the largest investment you will make in your lifetime and you should demand the very best.

Data Provided By: First American Title Ins Co
© 2022 CoreLogic. All rights reserved

Subject Property :   36702 N 33rd Ave Phoenix AZ 85086

Owner Information

Owner Name : Bellar David L

Mailing Address : 2466 N Oakmont Dr, Flagstaff AZ 86004-7434 R010

Vesting Codes : / / Living Trust

Owner Occupied Indicator : A

Location Information

Legal Description : Se4 Nw4 Sw4

County : Maricopa, Az

Census Tract / Block : 6105.00 / 1

Township-Range- Sect : 06N-02E-35

Last Market Sale Information

APN : 203-39-004-D

School District : Deer Valley 97

Neighbor Code : 08-006

Recording/Sale Date : 02/19/2020 / 02/04/2020 Document # : 140643

Sale Price : $550,000 Deed Type : Warranty Deed Title Company : Lawyers Title/az

Seller Name : Cosper Edward T & Mar

Prior Sale Information

Prior Rec/Sale Date : / 12/31/1978

Prior Sale Price : $24,500

Property Information

Land Use : Residential Acreage

Lot Acres : 10.00

Zoning : RU-43 Lot Size : 435,600

Tax Information

Total Value : $406,800

Land Value : $406,800

Total Taxable Value : $24,188

Tax Year : 2022

Property Tax : $3,176.66

Tax Rate Area : 970001

Assessed Year : 2021 Market Value : $406,800

Prior Deed Type : Warranty Deed

State Use : Vac-res-rural Non Subd

Fire Dept Tax : 11577

Current Assessed Year : 2023

Current Year Total Value : $73,020

Current Year Land Value : $73,020

Customer Name : Kariann Keomaka

Customer Company Name : First American Title Insurance Company

Prepared On : 11/10/2022

©
All rights reserved
2022 CoreLogic.

S 36702 N 33rd Ave 550,000 406,800 02/19/2020 435,600 RU-43 1 190,000 91,200 01/18/2022 57,288 0.08 RU-43 2 190,000 81,300 01/18/2022 49,101 0.11 RU-43 3 250,000 82,600 07/01/2022 62,384 0.21 RU-43 4 36707 N 31st Ln 159,000 77,200 02/15/2022 45,807 0.21 RU-43 5 3416 W Rambling Rd 212,000 115,800 04/25/2022 87,289 0.31 RU-43 6 210,700 146,800 04/20/2022 108,900 0.4 RU-43 7 240,000 172,100 04/21/2022 148,602 0.48 RU-43 8 100,000 75,700 12/29/2021 53,938 0.57 RU-43 9 100,000 75,700 12/29/2021 53,866 0.59 RU-43 10 100,000 76,000 12/29/2021 53,776 0.61 RU-43 11 100,000 76,300 12/29/2021 53,641 0.63 RU-43

12 2852 W Maddock Rd 205,000 152,900 01/20/2022 115,086 0.64 RU-43 13 265,000 80,000 04/15/2022 43,608 0.71 RU-43 14 185,000 135,500 04/21/2022 107,741 0.72 RU-43 Customer Name : Kariann Keomaka Customer Company Name : First American Title Insurance Company Prepared On : 11/10/2022

Sales Analysis Criteria Subject Property Low High Average
# Address Sale Price Total Assessed Value Sale Date Bed Bath Living Area Lot Size Year Built Dist (Miles) Zoning
Sale Price $550,000 $100,000 $265,000 $171,185 Bldg/Living Area Price Per Square Foot $1 $6 $2.39 Year Built Lot Size 435,600 43,608 245,108 82,981 Bedrooms Bathrooms Stories Total Assessed Value $406,800 $51,912 $184,600 $103,571 Distance From Subject 0 0.08 1 0.56 Summary of Comparables
© 2022
All rights reserved
CoreLogic.
15 135,000 51,912 11/23/2021 49,515 0.73 RU-43 16 3126 W Joy Ranch Rd 107,000 81,500 03/10/2022 54,450 0.74 RU-43 17 220,000 154,400 08/31/2022 245,108 0.77 RU-43 18 150,000 184,600 03/18/2022 163,350 0.8 RU-43 19 3121 W Blue Eagle Ln 170,000 78,400 02/16/2022 51,719 0.82 RU-43 20 135,000 81,500 11/10/2021 54,460 1 RU-43 Distressed Sales = Map Customer Name : Kariann Keomaka Customer Company Name : First American Title Insurance Company Prepared On : 11/10/2022 © 2022 CoreLogic. All rights reserved

Details of Comparables

Subject

Property: 36702 N 33rd Ave Phoenix Az 85086

Owner Name: Bellar David L / APN / Alternate APN: 203-39-004-D / Deed Type: Warranty Deed Land Use: Residential Acreage Subdivision / Tract: / Lot Size: 435,600 Year Built / Eff: / Rec. Date / Price: 02/19/2020 / $550,000 Living Area: # of units: Document #: 140643 Bedrooms: Pool: Total Tax Value: $406,800 Bath(F/H): /

#1   Az

Owner Name: Landry Family Trust / APN / Alternate APN: 203-39-004-J / Deed Type: Warranty Deed Land Use: Residential Acreage Subdivision / Tract: / Lot Size: 57,288 Year Built / Eff: / Rec. Date / Price: 01/18/2022 / $190,000 Living Area: # of units: Document #: 49545 Bedrooms: Pool: Total Tax Value: $91,200 Bath(F/H): /

#2   Az

Owner Name: Landry Family Trust / APN / Alternate APN: 203-39-004-K / Deed Type: Warranty Deed Land Use: Residential Acreage Subdivision / Tract: / Lot Size: 49,101 Year Built / Eff: / Rec. Date / Price: 01/18/2022 / $190,000 Living Area: # of units: Document #: 49545 Bedrooms: Pool: Total Tax Value: $81,300 Bath(F/H): /

#3   Az

Owner Name: Johnston Brad R /Johnston Lauren N APN / Alternate APN: 203-23-019-L / Deed Type: Warranty Deed Land Use: Residential Acreage Subdivision / Tract: / Lot Size: 62,384 Year Built / Eff: / Rec. Date / Price: 07/01/2022 / $250,000 Living Area: # of units: Document #: 546315 Bedrooms: Pool: Total Tax Value: $82,600 Bath(F/H): /

#4   36707 N 31st Ln Phoenix Az 85086

Owner Name: Johnson Daniel /Johnson Jessica APN / Alternate APN: 203-39-007-T / Deed Type: Warranty Deed Land Use: Residential Acreage Subdivision / Tract: / Lot Size: 45,807 Year Built / Eff: / Rec. Date / Price: 02/15/2022 / $159,000 Living Area: # of units: Document #: 137954 Bedrooms: Pool: Total Tax Value: $77,200 Bath(F/H): /

Customer Name : Kariann Keomaka

Customer Company Name : First American Title Insurance Company Prepared On : 11/10/2022

© 2022 CoreLogic. All rights reserved

#5   3416 W Rambling Rd Phoenix Az 85086

Owner Name: Abbate Julie /Abbate Michael APN / Alternate APN: 203-23-012-L / Deed Type: Warranty Deed Land Use: Residential Acreage Subdivision / Tract: / Lot Size: 87,289 Year Built / Eff: / Rec. Date / Price: 04/25/2022 / $212,000 Living Area: # of units: Document #: 362076 Bedrooms: Pool: Total Tax Value: $115,800 Bath(F/H): /

#6   Az

Owner Name: Anand Suman / APN / Alternate APN: 203-23-017-G / Deed Type: Warranty Deed Land Use: Residential Acreage Subdivision / Tract: / Lot Size: 108,900 Year Built / Eff: / Rec. Date / Price: 04/20/2022 / $210,700 Living Area: # of units: Document #: 346954 Bedrooms: Pool: Total Tax Value: $146,800 Bath(F/H): /

#7   Az

Owner Name: Milberg Jacob E /Milberg Junko APN / Alternate APN: 203-23-020-C / Deed Type: Warranty Deed Land Use: Residential Acreage Subdivision / Tract: / Lot Size: 148,602 Year Built / Eff: / Rec. Date / Price: 04/21/2022 / $240,000 Living Area: # of units: Document #: 351082 Bedrooms: Pool: Total Tax Value: $172,100 Bath(F/H): /

#8   Az

Owner Name: Davis Laroie S / APN / Alternate APN: 203-37-004-E / Deed Type: Warranty Deed Land Use: Residential Acreage Subdivision / Tract: / Lot Size: 53,938 Year Built / Eff: / Rec. Date / Price: 12/29/2021 / $100,000 Living Area: # of units: Document #: 1380915 Bedrooms: Pool: Total Tax Value: $75,700 Bath(F/H): /

#9   Az

Owner Name: Davis Laroie S / APN / Alternate APN: 203-37-004-F / Deed Type: Warranty Deed Land Use: Residential Acreage Subdivision / Tract: / Lot Size: 53,866 Year Built / Eff: / Rec. Date / Price: 12/29/2021 / $100,000 Living Area: # of units: Document #: 1380819 Bedrooms: Pool: Total Tax Value: $75,700 Bath(F/H): /

#10   Az

Owner Name: Davis Laroie S / APN / Alternate APN: 203-37-004-G / Deed Type: Warranty Deed Land Use: Residential Acreage Subdivision / Tract: / Lot Size: 53,776 Year Built / Eff: / Rec. Date / Price: 12/29/2021 / $100,000 Living Area: # of units: Document #: 1380847 Bedrooms: Pool: Total Tax Value: $76,000 Bath(F/H): /

Customer Name : Kariann Keomaka

Customer Company Name : First American Title Insurance Company Prepared On : 11/10/2022

2022 CoreLogic.

©
All rights reserved

#11   Az

Owner Name: Davis La Roie S / APN / Alternate APN: 203-37-004-H / Deed Type: Warranty Deed Land Use: Residential Acreage Subdivision / Tract: / Lot Size: 53,641 Year Built / Eff: / Rec. Date / Price: 12/29/2021 / $100,000 Living Area: # of units: Document #: 1380891 Bedrooms: Pool: Total Tax Value: $76,300 Bath(F/H): /

#12   2852 W Maddock Rd Phoenix Az 85086

Owner Name: Hamilton Richard S / APN / Alternate APN: 203-37-010-E / Deed Type: Warranty Deed Land Use: Residential Acreage Subdivision / Tract: / Lot Size: 115,086 Year Built / Eff: / Rec. Date / Price: 01/20/2022 / $205,000 Living Area: # of units: Document #: 59294 Bedrooms: Pool: Total Tax Value: $152,900 Bath(F/H): /

#13   Az

Owner Name: Barry Brian / APN / Alternate APN: 203-38-049-A / Deed Type: Warranty Deed Land Use: Residential Acreage Subdivision / Tract: / Lot Size: 43,608 Year Built / Eff: / Rec. Date / Price: 04/15/2022 / $265,000 Living Area: # of units: Document #: 333393 Bedrooms: Pool: Total Tax Value: $80,000 Bath(F/H): /

#14   Az

Owner Name: Orn David / APN / Alternate APN: 203-36-017-B / Deed Type: Warranty Deed Land Use: Residential Acreage Subdivision / Tract: / Lot Size: 107,741 Year Built / Eff: / Rec. Date / Price: 04/21/2022 / $185,000 Living Area: # of units: Document #: 350736 Bedrooms: Pool: Total Tax Value: $135,500 Bath(F/H): /

#15   Az

Owner Name: Rousu Donald E /Rousu Lois A APN / Alternate APN: 203-37-007-J / Deed Type: Warranty Deed Land Use: Residential Acreage Subdivision / Tract: / Lot Size: 49,515 Year Built / Eff: / Rec. Date / Price: 11/23/2021 / $135,000 Living Area: # of units: Document #: 1248795 Bedrooms: Pool: Total Tax Value: $51,912 Bath(F/H): /

#16   3126 W Joy Ranch Rd Phoenix Az 85086

Owner Name: Benitez Sergio /Sanchez Yolanda APN / Alternate APN: 203-36-012-H / Deed Type: Warranty Deed Land Use: Residential Acreage Subdivision / Tract: / Lot Size: 54,450 Year Built / Eff: / Rec. Date / Price: 03/10/2022 / $107,000 Living Area: # of units: Document #: 221491 Bedrooms: Pool: Total Tax Value: $81,500 Bath(F/H): /

Customer Name : Kariann Keomaka

Customer Company Name : First American Title Insurance Company Prepared On : 11/10/2022

© 2022 CoreLogic. All rights reserved

#17   Az

Owner Name: Mihaila Loan /Mihaila Nicoleta

APN / Alternate APN: 203-38-004-A / Deed Type: Warranty Deed Land Use: Residential Acreage Subdivision / Tract: / Lot Size: 245,108 Year Built / Eff: / Rec. Date / Price: 08/31/2022 / $220,000 Living Area: # of units: Document #: 680415 Bedrooms: Pool: Total Tax Value: $154,400 Bath(F/H): /

#18   Az

Owner Name: Rahana Fikri /Rahana Bushra

APN / Alternate APN: 203-36-004-F / Deed Type: Warranty Deed Land Use: Residential Acreage Subdivision / Tract: / Lot Size: 163,350 Year Built / Eff: / Rec. Date / Price: 03/18/2022 / $150,000 Living Area: # of units: Document #: 245548 Bedrooms: Pool: Total Tax Value: $184,600 Bath(F/H): /

#19   3121 W Blue Eagle Ln Phoenix Az 85086

Owner Name: Maena Francis /Johnson Christine

APN / Alternate APN: 203-36-012-N / Deed Type: Warranty Deed Land Use: Residential Acreage Subdivision / Tract: / Lot Size: 51,719 Year Built / Eff: / Rec. Date / Price: 02/16/2022 / $170,000 Living Area: # of units: Document #: 142094 Bedrooms: Pool: Total Tax Value: $78,400 Bath(F/H): /

#20   Az

Owner Name: Tourtchaninov Ross /Tourtchaninov Julie

APN / Alternate APN: 203-36-003-E / Deed Type: Warranty Deed Land Use: Residential Acreage Subdivision / Tract: / Lot Size: 54,460 Year Built / Eff: / Rec. Date / Price: 11/10/2021 / $135,000 Living Area: # of units: Document #: 1209560 Bedrooms: Pool: Total Tax Value: $81,500 Bath(F/H): /

Customer Name : Kariann Keomaka

Customer Company Name : First American Title Insurance Company

Prepared On : 11/10/2022

© 2022 CoreLogic. All rights reserved
© 2022 CoreLogic. All rights reserved
Subject Property :   36702 N 33rd Ave Phoenix AZ 85086 Customer Name : Kariann Keomaka Customer Company Name : First American Title Insurance Company Prepared On : 11/10/2022

Customer Name : Kariann Keomaka Customer Company Name : First American Title Insurance Company Prepared On : 11/10/2022 © 2022 CoreLogic.

rights reserved
All

Arizona Schools

For detailed information and statistics on Arizona schools please go to https://azreportcards.azed.gov/ First American Title Insurance Company, and the operating divisions thereof, make no express or implied warranty respecting the information presented and assume no responsibility for errors or omissions. First American, the eagle logo, First American Title, and firstam.com are registered trademarks or trademarks of First American Financial Corporation and/or its affiliates. ©2021 First American Financial Corporation and/or its affiliates. All rights reserved. NYSE: FAF 05117910421

Public Schools : Elementary Schools

Sunset Ridge School Distance 0.72 Miles 35707 N 33rd Ln Phoenix AZ 85086

Telephone : (623) 445-7800

Lowest Grade : Pre-K

School District : Deer Valley Unified District (4246)

Highest Grade : 8th

Kindergarten : Yes School Enrollment : Enrollment : 778 Total Expenditure/Student : 176

Customer Name : Kariann Keomaka

Customer Company Name : First American Title Insurance Company

Prepared On : 11/10/2022

© 2022 CoreLogic. All rights reserved

Attractions / Recreation

Name Address

Telephone Distance (Miles)

Az Whitewater Pools 35809 N 34th Ln Phoenix Az (480) 331-4426 0.72

Grudge Training Center, Llc 38017 N 31st Ave Phoenix Az (623) 229-6581 0.76

Cotton Lane Rv Resort Goodyear Az 36408 N Black Canyon Hwy Phoenix Az (623) 465-7465 0.82

Lucky Strike Development Llc 37246 N 27th Ave Phoenix Az (623) 582-3535 0.83

Eating / Drinking

Name Address Telephone Distance (Miles)

Chuckwagon At Pioneer Village, Llc 3901 W Pioneer Rd Phoenix Az (623) 465-1825 0.82

Sscv Restaurant Corp 35501 N 30th Dr Phoenix Az (623) 262-4475 0.97

Cave Creek Custard, Llc 35501 N 30th Dr Phoenix Az (623) 581-3252 0.97

Health Care Services

Name Address Telephone Distance (Miles)

Omega Commercial Investments Inc 37036 N 31st Ave Phoenix Az (602) 268-6030 0.31

Medifirst Medical Center 3424 W Long Rifle Rd Phoenix Az (706) 961-2577 0.34

Premier Integrative Wellness, Llc 36308 N 34th Ln Phoenix Az (623) 570-3076 0.43

Geoffrey W Hoffa P L L C 3227 W Donatello Dr Phoenix Az (480) 268-0561 0.51

Hospitality

Name Address Telephone Distance (Miles)

Scott Stuart, Pllc 35505 N 30th Dr Phoenix Az (602) 327-4033 0.96

Organizations / Associations

Name Address Telephone Distance (Miles)

Anthem Kingdom Hall Of Jehovahs Witness 36707 N 29th Ave Phoenix Az (623) 580-5110 0.57

Pioneer United Mthdst Church 35707 N 33rd Ln Phoenix Az (623) 551-0802 0.7

Customer Name : Kariann Keomaka

Customer Company Name : First American Title Insurance Company

Prepared On : 11/10/2022

Local Business
© 2022 CoreLogic. All rights reserved

Personal Services

Name Address Telephone Distance (Miles)

Spa Splendore Llc 3771 W Desert Creek Ln Phoenix Az (609) 425-1340 0.97

Shopping

Name Address Telephone Distance (Miles)

Above And Beyond Glass 3207 W Dolores Rd Phoenix Az (480) 235-6101 0.18

Target Dynamics, Llc 3308 W Adamanda Dr Desert Hills Az (602) 309-3969 0.94

Customer Name : Kariann Keomaka

Customer Company Name : First American Title Insurance Company Prepared On : 11/10/2022

© 2022 CoreLogic. All rights reserved

3312 W RAMBLING RD

Owner Name : Radding Gene Sale Price  : $103,000

Sale Date : 08/08/2019

Distance 0.11 Miles

Property Tax : $623.60

Total Value : $80,900 Lot Acres : 1.15

Land Use : Residential (nec) APN : 203-23-019-M

Recording Date  : 08/23/2019

3306 W RAMBLING RD

Owner Name : Moritz Properties Ii Llc

Property Tax : $582.10

Total Value : $81,100 Lot Acres : 1.15

Distance 0.12 Miles

Land Use : Residential Acreage APN : 203-23-019-P

37009 N 33RD AVE Distance

Owner Name : Nelson Cressa K

Sale Price  : $173,000 Sale Date : 06/10/2021 Property Tax : $665.28

Total Value : $87,600 Lot Acres : 1.25

Land Use : Residential Acreage APN : 203-23-016-E

Recording Date  : 08/04/2021

36723 N 33RD AVE

0.12 Miles

Distance 0.12 Miles

Owner Name : Muniz Matthew Recording Date : 11/04/2016 Sale Date : 10/11/2016 Sale Price  : $600,000

Total Value : $524,500 Property Tax : $4,899.28

Bed / Bath : / 5 Lot Acres : 1.40

Land Use : Sfr Living Area : 4,145 Stories : 2 APN : 203-39-003-J

Yr Blt / Eff Yr Blt  : 1982 /

36702 N 33RD AVE

Owner Name : Bellar David L

Sale Date : 02/04/2020

Distance 0.13 Miles

Sale Price  : $550,000

Property Tax : $3,176.66

Total Value : $406,800 Lot Acres : 10.00

Land Use : Residential Acreage APN : 203-39-004-D

Recording Date  : 02/19/2020

Customer Name : Kariann Keomaka

Customer Company Name : First American Title Insurance Company

Prepared On : 11/10/2022

© 2022
All rights reserved
CoreLogic.

Census Tract / block: 6105.00 / 1     Year: 2018

Household

Population Population by Age

Count: 6,806 0 - 11

Estimate Current Year: 7,521 12 - 17

Estimate in 5 Years: 11,215 18 - 24 9.4%

Growth Last 5 Years: 5.16% 25 - 64 54.98%

Growth Last 10 Years: -119.18% 65 - 74 11.86% 75+

Household Size Household Income

Current Year: 2,440 0 - $25,000 4.96%

Average Current Year: 2.79 $25,000 - $35,000 5.08%

Estimate in 5 Years: 2,661 $35,000 - $50,000 13.36%

Growth Last 5 Years: 3.48% $50,000 - $75,000 14.84%

Growth Last 10 Years: 21.42% $75,000 - $100,000 10.37%

Male Population: 51.5% Above $100,000 51.39%

Female Population: 48.5% Average Household Income: $102,660

Married People: 61.34%

Unmarried People: 38.66%

Housing

Median Mortgage Payments Home Values

Under $300: 6.07% Below $100,000: 5.38%

$300 - $799: 19.83% $100,000 - $150,000: 1.61%

$800 - $1,999: 37.87% $150,000 - $200,000: 5.06%

Over $2,000: 36.22% $200,000 - $300,000: 12.24%

Median Home Value: $419,600 $300,000 - $500,000: 45.38%

Unit Occupied Owner: 89.06% Above $500,000: 30.33%

Median Mortgage: $1,527

Customer Name : Kariann Keomaka

Customer Company Name : First American Title Insurance Company Prepared On : 11/10/2022

© 2022 CoreLogic. All rights reserved

Rent Payments Year Built

Unit Occupied Renter: 10.94% 1999 - 2000

Median Gross Rent: $2,128 1995 - 1998

Less Than $499 0% 1990 - 1994

$500 - $749 0% 1980 - 1989 6.2%

$750 - $999 0% 1970 - 1979 1.88%

$1000 and Over 100% 1900 - 1969 0.35%

Education Enrollment

Public Pre-Primary School: 1.01% Not Enrolled in School: 77.01%

Private Pre-Primary School: 0% Not A High School Graduate: 5.48%

Public School: 21.05% Graduate Of High School: 26.02%

Private School: 1.93% Attended Some College: 27.13%

Public College: 5.86% College Graduate: 30.26%

Private College: 1.15% Graduate Degree: 11.11%

Workforce

Occupation:

Manager/Prof: 49.82% Private Worker: 67.52% Technical: Government Worker: 8.21%

Sales: 22.49% Self Employed Worker: 9.02%

Administrative: Unpaid Family Worker: 10.97%

Private House Hold: Farming: 8.34% Service: 14.52% Skilled:

Protective Services: Blue-Collar: 13.18%

Commute Time

Less Than 15 Min: 12.93%

15 min - 28 min: 35.96%

30 min - 57 min: 40.86%

Over 60 min: 10.25%

Customer Name : Kariann Keomaka

Customer Company Name : First American Title Insurance Company Prepared On : 11/10/2022

© 2022 CoreLogic. All rights reserved

Customer Name : Kariann Keomaka Customer Company Name : First American Title Insurance Company Prepared On : 11/10/2022

©
All rights reserved
2022 CoreLogic.

Customer Name : Kariann Keomaka

Customer Company Name : First American Title Insurance Company Prepared On : 11/10/2022

All rights reserved
© 2022 CoreLogic.

Customer Name : Kariann Keomaka

Customer Company Name : First American Title Insurance Company Prepared On : 11/10/2022

2022 CoreLogic.

All rights reserved
©
+ FIRST AMERICAN TITLE, FC0, KWAL MARICOPA, AZ 11/10/2022  01:59PM  TCI1  INVESTIGATIVE SEARCH RESULTS PAGE 1 OF 2
IMPROVEMENTS LAND USE  00 14 LAND FULL CASH VALUE  531,200 LOT SIZE  10.000 ACRES IMPROV FULL CASH VALUE  0 SCHOOL DISTRICT  970001 SALES SALE DATE SALE AMOUNT INSTRUMENT TYPE SELLER NAME VALIDITY 02/19/2020 550,000    2020 140643 WD COSPER JOEL & HUGHS DEBORA M ADDITIONAL PROPERTY INFORMATION STANDARD LAND USE: RESIDENTIAL LOT
SEARCH PARAMETERS PARCEL:  203-39-004C thru  203-39-004D PARCEL: 203-39-004C 9 INSTRUMENT REC DATE OWNER: BELLAR DAVID L & DAVID L BE     2020 140643 02/19/2020  SITUS: 36826 N 33RD AVE PHOENIX  MAIL: 2466 N OAKMONT DR  FLAGSTAFF AZ 86004  SECTION: 35 TWP 6N RNG 2E LEGAL: NE4 NW4 SW4  CURRENT TAXES INFORMATION THROUGH 11/04/2022 LAND IMPR EXEMPT RATE AREA SPECIAL DISTRICTS PRIMARY  23,381  0  0  5.8600  970001  11577 30002  SECONDARY  79,680  0  0  6.6475  2022 TOTAL TAX BILLED 2,924.36 2022  TAX AMT TAX DUE INTEREST DATE PAID TOTAL DUE FIRST HALF  1,462.18  0.00  0.00  10/31/2022  0.00  SECOND HALF  1,462.18  1,462.18  0.00  1,462.18  TOTAL CURRENT TAXES DUE 11/22 1,462.18 12/22 1,462.18 (ESTIMATED)

FIRST HALF  1,588.33  0.00  0.00  10/31/2022  0.00  SECOND HALF  1,588.33  1,588.33  0.00  1,588.33  TOTAL CURRENT TAXES DUE 11/22 1,588.33 12/22 1,588.33 (ESTIMATED) IMPROVEMENTS

+ FIRST AMERICAN TITLE, FC0, KWAL MARICOPA, AZ 11/10/2022  01:59PM  TCI1  INVESTIGATIVE SEARCH RESULTS PAGE 2 OF 2
PARCEL: 203-39-004D 8 INSTRUMENT REC DATE OWNER: BELLAR DAVID L & DAVID L BE     2020 140643 02/19/2020  SITUS: 36702 N 33RD AVE PHOENIX  MAIL: 2466 N OAKMONT DR  FLAGSTAFF AZ 86004  SECTION: 35 TWP 6N RNG 2E LEGAL: SE4 NW4 SW4  CURRENT TAXES INFORMATION THROUGH 11/04/2022 LAND IMPR EXEMPT RATE AREA SPECIAL DISTRICTS PRIMARY  25,398  0  0  5.8600  970001  11577 30002  SECONDARY  79,680  0  0  6.6475  2022 TOTAL TAX BILLED 3,176.66 2022  TAX AMT TAX DUE INTEREST DATE PAID TOTAL DUE
END SEARCH
LAND USE  00 14 LAND FULL CASH VALUE  531,200 LOT SIZE  10.000 ACRES IMPROV FULL CASH VALUE  0 SCHOOL DISTRICT  970001 SALES SALE DATE SALE AMOUNT INSTRUMENT TYPE SELLER NAME VALIDITY 02/19/2020 550,000    2020 140643 WD COSPER JOEL & HUGHS DEBORA M 03/25/1998 25,000    1998 228387 QD ALECKSEN ROBERT M 12/31/1978 24,500    1979 136984 WD COSPER E T & M L 2 ADDITIONAL PROPERTY INFORMATION STANDARD LAND USE: RESIDENTIAL LOT

Turn static files into dynamic content formats.

Create a flipbook
Issuu converts static files into: digital portfolios, online yearbooks, online catalogs, digital photo albums and more. Sign up and create your flipbook.