7512 E Dynamite Blvd, Scottsdale, AZ 85266

Page 1

Subject Property
E Dynamite Blvd Scottsdale AZ 85266 APN:
Data Provided By:
American Title Ins Co © 2022 CoreLogic. All rights reserved
7512
216-69-093
First

LIMITATION OF LIABILITY FOR INFORMATIONAL REPORTS

IMPORTANT -- PLEASE READ CAREFULLY:

This report is not an insured product or service or a representation of the condition of title to real property. It is not an abst ract, legal opinion, opinion of title, title insurance commitment or preliminary report, or any form of Title Insurance or Guaranty. This report is issued exclusively for the benefit of the Applicant therefor and may not be used or relied upon by any other person. This report may not be reproduced in any manner without First American or Title Security's prior written consent. First American or Title Security does not represent or warrant that the information herein is complete or free from error, and the information herein is provided without any warranties of any kind, as-is, and with all faults. As a material part of the consideration given in exchange for the issuance of this report, recipient agrees that First American or Title Security's sole liability for any loss or damage caused by an error or omission due to inaccurate information or negligence in preparing this report shall be limited to the fee charged for the report. Recipient accepts this report with this limitation and agrees that First American or Title Security would not have issued this report but for the limitation of liability described above. First American or Title Security makes no representation or warranty as to the legality or propriety of recipient's use of the information herein.

Disclaimer

This REiSource report is provided "as is" without warranty of any kind, either express or implied, including without limitations any warrantees of merchantability or fitness for a particular purpose. There is no representation of warranty that this information is complete or free from error, and the provider does not assume, and expressly disclaims, any liability to any person or entity for loss or damage caused by errors or omissions in this REiSource report without a title insurance policy.

The information contained in the REiSource report is delivered from your Title Company, who reminds you that you have the right as a consumer to compare fees and serviced levels for Title, Escrow, and all other services associated with property ownership, and to select providers accordingly. Your home is the largest investment you will make in your lifetime and you should demand the very best.

Data Provided By: First American Title Ins Co
© 2022 CoreLogic. All rights reserved

Subject Property :   7512 E Dynamite Blvd Scottsdale AZ 85266

Owner Information

Owner Name : Luxe Grp Invs Llc-arizona Seri

Mailing Address : 7512 E Dynamite Blvd, Scottsdale AZ 85266

Vesting Codes : / / Corporation

Owner Occupied Indicator : O

Location Information

Legal Description : Sw4 Se4 Se4 Sw4 Ex S 40f

County : Maricopa, Az

Census Tract / Block : 2168.22 / 3

Township-Range- Sect : 05N-04E-26

School District : Cave Creek 93

Munic/Township : Scottsdale

Neighbor Code : 20-008 APN : 216-69-093

Owner Transfer Information

Recording/Sale Date : 11/16/2022 / 11/02/2022

Deed Type : Quit Claim Deed Document # : 842564

Last Market Sale Information

Recording/Sale Date : 02/22/1988 / 02/00/1988 Document # : 81003

Sale Price : $100,000

Lender : No New Mtg

Seller Name : Fuzzy Goat Partnership

Prior Sale Information

Prior Rec/Sale Date : 05/29/1987 / 05/00/1987

Prior Sale Price : $77,740

Property Information

Land Use : Residential Acreage

Lot Acres : 2.20

Zoning : R1-70 Lot Size : 95,701

Deed Type : Deed (reg)

Prior Doc Number : 337831

Prior Deed Type : Deed (reg)

State Use : Vac-res-urban Non Subd

Customer Name : Jeremiah Stiffler

Customer Company Name : First American Prepared On : 12/01/2022

© 2022
All rights reserved
CoreLogic.

Tax Information

Total Value : $229,900 Tax Year : 2022

Land Value : $229,900 Property Tax : $1,582.80

Total Taxable Value : $26,945 Tax Rate Area : 931400

Assessed Year : 2022 Market Value : $229,900

Current Assessed Year : 2023

Current Year Total Value : $35,025

Current Year Land Value : $35,025

Customer Name : Jeremiah Stiffler

Customer Company Name : First American Prepared On : 12/01/2022

© 2022 CoreLogic. All rights reserved

7512 E Dynamite Blvd 100,000 229,900 02/22/1988 95,701 R1-70 1 7102 E Dynamite Blvd 350,000 230,100 10/12/2022 95,832 0.5 R1-70 2 28650 N 83rd St 2,908,500 1,133,300 03/16/2022 844,803 0.91 R1-190 3 500,000 199,700 06/03/2022 90,866 1.06 RU-43 4 7100 E Windstone Trl 212,500 126,400 07/01/2022 83,894 1.33 R1-70 5 1,775,000 749,800 04/25/2022 409,203 1.4 R1-190 6 6409 E Lomas Verdes Dr 2,220,500 241,800 03/11/2022 76,666 1.62 R1-43 7 9175 E Pinnacle Vista Dr 1,100,000 416,300 11/17/2022 217,800 2.11 R1-190 8 1,575,000 229,900 02/25/2022 95,697 2.12 R1-70 9 750,000 392,100 07/15/2022 108,900 2.14 R1-70 10 650,000 247,400 10/07/2022 108,900 2.17 R1-70 11 7161 E Ranch Rd 650,000 227,600 10/07/2022 108,900 2.23 R1-70

Sales Analysis Criteria Subject Property Low High Average
Distance
Comparables # Address Sale Price Total Assessed Value Sale Date Bed Bath Living Area Lot Size Year Built Dist (Miles) Zoning
Customer
Customer
© 2022 CoreLogic. All rights reserved
Sale Price $100,000 $212,500 $2,908,500 $1,096,654 Bldg/Living Area Price Per Square Foot $3 $29 $6.92 Year Built Lot Size 95,701 76,666 844,803 204,760 Bedrooms Bathrooms Stories Total Assessed Value $229,900 $126,400 $1,133,300 $379,746
From Subject 0 0.5 2.46 1.72 Summary of
S
Name : Jeremiah Stiffler
Company Name : First American Prepared On : 12/01/2022
12 31601 N Black Cross Rd 665,000 335,200 02/22/2022 214,807 2.26 R1-130 13 26806 N 94th St 900,000 407,100 02/07/2022 205,609 2.46 R1-190 Distressed Sales = Map Customer Name
Jeremiah Stiffler Customer Company Name : First American Prepared On
© 2022 CoreLogic. All rights reserved
:
: 12/01/2022
Customer
Customer
© 2022 CoreLogic. All rights reserved
Subject Property :   7512 E Dynamite Blvd Scottsdale AZ 85266
Name : Jeremiah Stiffler
Company Name : First American Prepared On : 12/01/2022

Customer Name : Jeremiah Stiffler Customer Company Name : First American Prepared On : 12/01/2022

©
All rights reserved
2022 CoreLogic.

Arizona Schools

For detailed information and statistics on Arizona schools please go to https://azreportcards.azed.gov/ First American Title Insurance Company, and the operating divisions thereof, make no express or implied warranty respecting the information presented and assume no responsibility for errors or omissions. First American, the eagle logo, First American Title, and firstam.com are registered trademarks or trademarks of First American Financial Corporation and/or its affiliates. ©2021 First American Financial Corporation and/or its affiliates. All rights reserved. NYSE: FAF 05117910421

Public Schools : Elementary Schools

Desert Sun Academy Distance 1.52 Miles 27880 N. 64th Street Scottsdale AZ 85266

Telephone : (480) 575-2900

School District : Cave Creek Unified District (4244)

Lowest Grade : Pre-K Highest Grade : 6th Kindergarten : Yes School Enrollment : Enrollment : 393 Total Expenditure/Student : 69

Horseshoe Trails Elementary School Distance 2.79 Miles 5405 E. Pinnacle Vista Drive Phoenix AZ 85085

Telephone : (480) 272-8500

School District : Cave Creek Unified District (4244)

Lowest Grade : K Highest Grade : 6th Kindergarten : Yes School Enrollment : Enrollment : 614 Total Expenditure/Student : 69

Lone Mountain Elementary School Distance 3.17 Miles 5250 E. Montgomery Rd. Cave Creek AZ 85331

Telephone : (480) 437-3000

School District : Cave Creek Unified District (4244)

Lowest Grade : K Highest Grade : 6th Kindergarten : Yes School Enrollment : Enrollment : 522 Total Expenditure/Student : 69

Customer Company Name : First American Prepared On : 12/01/2022

Customer Name : Jeremiah Stiffler
© 2022 CoreLogic. All rights reserved

Pinnacle Peak Preparatory

7690 E Williams Dr Scottsdale AZ 85255

Telephone : (602) 449-6700

Distance 3.34 Miles

School District : Paradise Valley Unified District (4241)

Lowest Grade : Pre-K Highest Grade : 8th Kindergarten : Yes School Enrollment : Enrollment : 607 Total Expenditure/Student : 228

Middle Schools

Sonoran Trails Middle School Distance 2.56 Miles

5555 East Pinnacle Vista Drive Phoenix AZ 85085

Telephone : (480) 272-8600

School District : Cave Creek Unified District (4244)

Lowest Grade : 6th Highest Grade : 8th Kindergarten : No School Enrollment : Enrollment : 924 Total Expenditure/Student : 69

High Schools

Evit Cactus Shadows High School Distance 3.7 Miles

5802 E Dove Road Cave Creek AZ 85331

Telephone : (480) 575-2400

School District : East Valley Institute Of Technology (4516)

Lowest Grade : 10th Highest Grade : 12th School Enrollment : Enrollment : 0

Total Expenditure/Student : Advanced Placement : No

Customer Company Name : First American Prepared On : 12/01/2022

Customer Name : Jeremiah Stiffler
© 2022 CoreLogic. All rights reserved

Cactus Shadows High School

5802 E. Dove Valley Rd. Scottsdale AZ 85266

Telephone : (480) 575-2400

Distance 3.7 Miles

School District : Cave Creek Unified District (4244)

Highest Grade : 12th School Enrollment : Enrollment : 1930

Lowest Grade : 8th

Total Expenditure/Student : 69

Advanced Placement : No

Customer Name : Jeremiah Stiffler

Customer Company Name : First American Prepared On : 12/01/2022

©
All rights reserved
2022 CoreLogic.

Attractions / Recreation

Name Address Telephone Distance (Miles)

Sutherland Golf Llc 7577 E Red Bird Rd Scottsdale Az (480) 473-1340 0.72

Ali Paige Equestrian 6835 E Dale Ln Scottsdale Az (602) 695-2334 0.88

Roughrider Total Entertainment Llc 29685 N 71st Pl Scottsdale Az (480) 208-3761 1.01

Apache Peak Equestrian Center, Llc 29607 N Hayden Rd Scottsdale Az (602) 291-1448 1.04

Banks / Financial

Name Address Telephone Distance (Miles)

A Cash Deal Auto Title Loans, Inc. 7915 E Dale Ln Scottsdale Az (480) 391-3376 0.57

Otteson Financial Llc 6621 E Red Bird Cir Scottsdale Az (702) 768-3253 1.41

Sunbank La Jolla Llc 25631 N Ranch Gate Rd Scottsdale Az (480) 473-8727 1.75

Jpmorgan Chase Bank, National Association 31307 N Scottsdale Rd Scottsdale Az (480) 488-9195 1.81

Eating / Drinking

Name Address Telephone Distance (Miles)

Valley Dogs, Inc. 7534 E Bent Tree Dr Scottsdale Az (602) 653-6392 0.4

Grato Ventures, Inc. 7394 E Buckhorn Trl Scottsdale Az (480) 729-1999 0.6

Coyotes Theater On Ice 6939 E Ironwood Dr Scottsdale Az (602) 380-1279 0.83

Amw Holdings Llc 6918 E Buckhorn Trl Scottsdale Az (480) 636-0800 0.98

Health Care Services

Name Address Telephone Distance (Miles)

Daniel Joseph Marchand 28011 N 78th St Scottsdale Az (480) 585-4681 0.36

Carlos Rodriguez M.d. Pllc 7355 E Bent Tree Dr Scottsdale Az (480) 219-0638 0.5

Accident Medical Intervention Group Llc 27982 N 71st St Scottsdale Az (623) 261-5419 0.56

Misty Evans, Md, Pllc 7394 E Buckhorn Trl Scottsdale Az (480) 659-4490 0.6

Customer Name : Jeremiah Stiffler

Customer Company Name : First American Prepared On : 12/01/2022

Local Business
© 2022
All rights reserved
CoreLogic.

Hospitality

Name Address Telephone Distance (Miles)

Varnell's Beach House, L.l.c. 27685 N 61st Pl Scottsdale Az (480) 502-6945 1.75

Hwang, Llc 7917 E Softwind Dr Scottsdale Az (480) 570-6696 2.72

Studio 29 Lodge, Llc 7164 E Bramble Berry Ln Scottsdale Az (480) 575-7937 2.84

Hemstreet Devlopment 7440 E Pinnacle Peak Rd Scottsdale Az (406) 721-9600 2.97

Organizations / Associations

Name Address Telephone Distance (Miles)

Rancho De Hiero 28650 N 76th St Scottsdale Az (602) 502-2171 0.33

Desert Foothills Lutheran Church Inc 29305 N Scottsdale Rd Scottsdale Az (480) 502-8101 0.77

Sonrise Covenant Baptist Church 29505 N Scottsdale Rd Scottsdale Az (480) 502-2834 0.88

Desert Mission United Methodist Church 7373 E Dixileta Dr Scottsdale Az (480) 513-3146 1.01

Personal Services

Name Address Telephone Distance (Miles)

J&l Fitness Llc 7643 E Baker Dr Scottsdale Az (480) 515-9959 1.02

Ps Uno, Llc 7550 E Desert Vista Rd Scottsdale Az (309) 318-9010 2.12

Premier Pilates And Fitness, Llc 24117 N 77th St Scottsdale Az (480) 285-8058 2.54

K2 Fitness, L.l.c. 32409 N Scottsdale Rd Scottsdale Az (480) 575-7505 2.68

Shopping

Name Address Telephone Distance (Miles)

A Cut Above Glass 28628 N 78th St Scottsdale Az (480) 473-8131 0.51

Advantage Value L L C 28880 N 70th St Scottsdale Az (480) 563-0197 0.77

Charles T Young 27020 N 71st Pl Scottsdale Az (480) 515-1972 0.87

Life Extension Supplies & Service Inc 26843 N 71st Pl Scottsdale Az (510) 527-3005 0.96

Customer Name : Jeremiah Stiffler

Customer Company Name : First American Prepared On : 12/01/2022

© 2022
All rights reserved
CoreLogic.

28228 N 76TH ST

Owner Name : Mcgowan Trust

Sale Date : 09/02/2003

Total Value : $1,135,300

Distance 0.06 Miles

Recording Date : 09/03/2003

Sale Price  : $176,000

Property Tax : $5,651.42

Bed / Bath : / 7 Lot Acres : 1.84

Land Use : Sfr Living Area : 5,159 Stories : 1 APN : 216-69-096-A

Yr Blt / Eff Yr Blt  : 2005 /

28349 N 75TH ST

Owner Name : Geisendaffer Ralph J

Total Value : $722,200

Distance 0.06 Miles

Recording Date : 05/27/2004

Property Tax : $3,290.86

Bed / Bath : / 4 Lot Acres : 2.33

Land Use : Sfr Living Area : 3,513 Stories : 1 APN : 216-69-170

Yr Blt / Eff Yr Blt  : 1999 /

7480 E DYNAMITE BLVD

Owner Name : 7480 E Dynamite Llc

Distance 0.06 Miles

Recording Date : 09/25/2015

Sale Date : 03/25/2015 Sale Price  : $775,000

Total Value : $827,600

Property Tax : $4,604.66

Bed / Bath : / 5 Lot Acres : 2.20

Land Use : Sfr Living Area : 4,222 Stories : 1 APN : 216-69-098

Yr Blt / Eff Yr Blt  : 2001 /

28238 N 76TH ST

Owner Name : Mccann Steven

Sale Date : 04/21/2011

Total Value : $376,800

Distance 0.08 Miles

Recording Date : 05/02/2011

Sale Price  : $250,000

Property Tax : $1,434.78

Bed / Bath : / 1 Lot Acres : 2.03

Land Use : Sfr Living Area : 1,440 Stories : 1 APN : 216-69-014-A

Yr Blt / Eff Yr Blt  : 1980 /

Customer Name : Jeremiah Stiffler

Customer Company Name : First American Prepared On : 12/01/2022

© 2022
All rights reserved
CoreLogic.

28360 N 75TH ST

Owner Name : Ginn Keenan F

Distance 0.09 Miles

Recording Date : 05/09/2011

Sale Date : 04/29/2011 Sale Price  : $640,000

Total Value : $845,600

Property Tax : $3,959.50

Bed / Bath : / 4 Lot Acres : 2.50

Land Use : Sfr Living Area : 3,659 Stories : 1 APN : 216-69-168

Yr Blt / Eff Yr Blt  : 2001 /

28170 N 76TH ST

Owner Name : Nelson Barry D

Sale Date : 03/15/2021

Distance 0.09 Miles

Sale Price  : $380,000

Property Tax : $1,469.22

Total Value : $212,200 Lot Acres : 1.91

Land Use : Residential (nec) APN : 212-20-004-F Recording Date  : 03/19/2021

28155 N 74TH ST

Owner Name : Courtney Val G

Distance 0.12 Miles

Recording Date : 09/24/1999

Sale Date : 09/00/1999 Sale Price  : $185,000

Total Value : $1,164,600 Property Tax : $5,782.82

Bed / Bath : / 5 Lot Acres : 4.37

Land Use : Sfr Living Area : 4,651 Stories : 1 APN : 212-20-002-C

Yr Blt / Eff Yr Blt  : 2000 /

28445 N 75TH ST

Owner Name : Mierzejewski Margaret R

Sale Date : 05/26/2009

Total Value : $1,079,100

Distance 0.12 Miles

Recording Date : 06/26/2009

Sale Price  : $730,000

Property Tax : $5,455.54

Bed / Bath : / 4 Lot Acres : 2.35

Land Use : Sfr Living Area : 4,945

Stories : 1 APN : 216-69-166-A

Yr Blt / Eff Yr Blt  : 1995 /

Customer Name : Jeremiah Stiffler

Customer Company Name : First American Prepared On : 12/01/2022

© 2022 CoreLogic. All rights reserved

Census Tract / block: 2168.22 / 3     Year: 2018

Household

Population Population by Age

Count: 4,276 0 - 11

Estimate Current Year: 4,246 12 - 17

Estimate in 5 Years: 4,129 18 - 24 2.08%

Growth Last 5 Years: 8.56% 25 - 64 44.97%

Growth Last 10 Years: -106.69% 65 - 74 28.88% 75+

Household Size Household Income

Current Year: 1,928 0 - $25,000 6.69%

Average Current Year: 2.2 $25,000 - $35,000 6.59%

Estimate in 5 Years: 1,855 $35,000 - $50,000 6.43%

Growth Last 5 Years: 9.39% $50,000 - $75,000 11.15%

Growth Last 10 Years: 6.81% $75,000 - $100,000 10.74%

Male Population: 48.6% Above $100,000 58.4%

Female Population: 51.4% Average Household Income: $117,955

Married People: 71.62%

Unmarried People: 28.38%

Housing

Median Mortgage Payments Home Values

Under $300: 1.14% Below $100,000: 0.43%

$300 - $799: 26.79% $100,000 - $150,000: 0%

$800 - $1,999: 24.18% $150,000 - $200,000: 1.68%

Over $2,000: 47.88% $200,000 - $300,000: 0%

Median Home Value: $777,500 $300,000 - $500,000: 17.12%

Unit Occupied Owner: 95.44% Above $500,000: 80.76%

Median Mortgage: $2,036

Customer Name : Jeremiah Stiffler Customer Company Name : First American Prepared On : 12/01/2022

© 2022 CoreLogic. All rights reserved

Rent Payments Year Built

Unit Occupied Renter: 4.56% 1999 - 2000

Median Gross Rent: $2,326 1995 - 1998

Less Than $499 0% 1990 - 1994

$500 - $749 0% 1980 - 1989 7.36%

$750 - $999 0% 1970 - 1979 0% $1000 and Over 100% 1900 - 1969 2.17%

Education

Enrollment

Public Pre-Primary School: 0% Not Enrolled in School: 83.33%

Private Pre-Primary School: 0% Not A High School Graduate: 1.73%

Public School: 10.55% Graduate Of High School: 9.78% Private School: 6.13% Attended Some College: 13.91%

Public College: 1.52% College Graduate: 48.19% Private College: 3.27% Graduate Degree: 26.39%

Workforce

Occupation:

Manager/Prof: 56.13% Private Worker: 61.33% Technical: Government Worker: 2.34% Sales: 32.24% Self Employed Worker: 11.21% Administrative: Unpaid Family Worker: 14.6%

Private House Hold: Farming: 0.76% Service: 8.29% Skilled:

Protective Services: Blue-Collar: 3.33%

Commute Time

Less Than 15 Min: 10.53%

15 min - 28 min: 37.6%

30 min - 57 min: 43.44%

Over 60 min: 8.43%

Customer Name : Jeremiah Stiffler

Customer Company Name : First American Prepared On : 12/01/2022

© 2022
All rights reserved
CoreLogic.

Customer Name : Jeremiah Stiffler

Customer Company Name : First American Prepared On : 12/01/2022

©
All rights reserved
2022 CoreLogic.

Customer Name : Jeremiah Stiffler Customer Company Name : First American Prepared On : 12/01/2022

©
All rights reserved
2022 CoreLogic.

Customer Name : Jeremiah Stiffler Customer Company Name : First American Prepared On : 12/01/2022

©
All rights reserved
2022 CoreLogic.
+ FIRST AMERICAN TITLE, FC0, JSTI MARICOPA, AZ 12/01/2022  07:50AM  R9C8  INVESTIGATIVE SEARCH RESULTS PAGE 1 OF 1
INFORMATION THROUGH 11/25/2022 LAND IMPR EXEMPT RATE AREA SPECIAL DISTRICTS
IMPROVEMENTS
SALES
SALE AMOUNT
END SEARCH
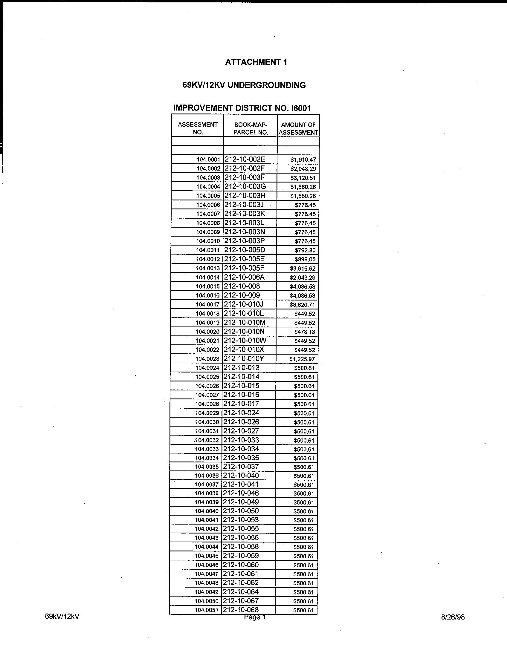
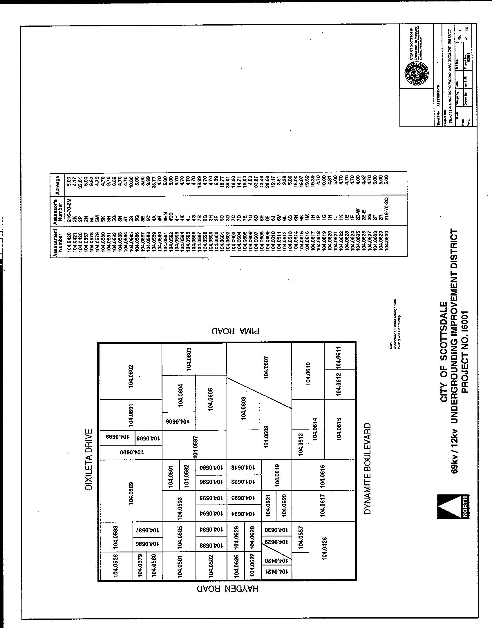
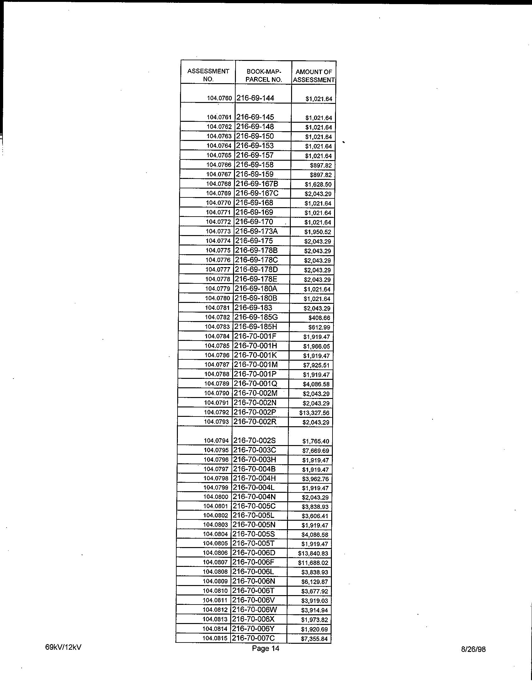
SEARCH PARAMETERS PARCEL:  216-69-093 PARCEL: 216-69-093 2 INSTRUMENT REC DATE OWNER: PROTEGA MILENKO & DANICA     1988 81003 02/22/1988  SITUS: 7512 E DYNAMITE BLVD SCOTTSDALE  MAIL: 2898 BENDING CREEK TR  CRETE, IL 60147  SECTION: 26 TWP 5N RNG 4E LEGAL: SW4 SE4 SE4 SW4 EX S 40F  CURRENT TAXES
PRIMARY  26,945  0  0  4.3128  931400  30001  SECONDARY  34,485  0  0  1.5613  2022 TOTAL TAX BILLED 1,582.80 2022  TAX AMT TAX DUE INTEREST DATE PAID TOTAL DUE FIRST HALF  791.40  0.00  0.00  10/01/2022  0.00  SECOND HALF  791.40  0.00  0.00  10/01/2022  0.00  TOTAL CURRENT TAXES DUE 12/22 0.00 01/23 0.00
LAND USE  00 12 LAND FULL CASH VALUE  229,900 LOT SIZE  2.197 ACRES IMPROV FULL CASH VALUE  0 SCHOOL DISTRICT  931400
SALE DATE
INSTRUMENT TYPE SELLER NAME VALIDITY 02/22/1988 100,000    1988 81003 JD FUZZY GOAT PARTNER 05/29/1987 77,740    1987 337831 WD WARD NORMA 09/24/1981 90,000    1981 397395 AG SMITH W D & J M 2 07/21/1976 9,500    1976 190351 JD CIEGELSKY C J 4 ADDITIONAL PROPERTY INFORMATION STANDARD LAND USE: RESIDENTIAL LOT
MARICOPA, AZ Document:DED JTN 1988.81003 Page:1 of 1 Printed on:12/1/2022 8:55 AM Branch :FC0 User :JSTI
MARICOPA, AZ Document:LN 1998.762857 Page:1 of 31 Printed on:12/1/2022 8:55 AM Branch :FC0 User :JSTI
MARICOPA, AZ Document:LN 1998.762857 Page:2 of 31 Printed on:12/1/2022 8:55 AM Branch :FC0 User :JSTI
MARICOPA, AZ Document:LN 1998.762857 Page:3 of 31 Printed on:12/1/2022 8:55 AM Branch :FC0 User :JSTI
MARICOPA, AZ Document:LN 1998.762857 Page:4 of 31 Printed on:12/1/2022 8:55 AM Branch :FC0 User :JSTI
MARICOPA, AZ Document:LN 1998.762857 Page:5 of 31 Printed on:12/1/2022 8:55 AM Branch :FC0 User :JSTI
MARICOPA, AZ Document:LN 1998.762857 Page:6 of 31 Printed on:12/1/2022 8:55 AM Branch :FC0 User :JSTI
MARICOPA, AZ Document:LN 1998.762857 Page:7 of 31 Printed on:12/1/2022 8:55 AM Branch :FC0 User :JSTI
MARICOPA, AZ Document:LN 1998.762857 Page:8 of 31 Printed on:12/1/2022 8:55 AM Branch :FC0 User :JSTI
MARICOPA, AZ Document:LN 1998.762857 Page:9 of 31 Printed on:12/1/2022 8:55 AM Branch :FC0 User :JSTI
MARICOPA, AZ Document:LN 1998.762857 Page:10 of 31 Printed on:12/1/2022 8:55 AM Branch :FC0 User :JSTI
MARICOPA, AZ Document:LN 1998.762857 Page:11 of 31 Printed on:12/1/2022 8:55 AM Branch :FC0 User :JSTI
MARICOPA, AZ Document:LN 1998.762857 Page:12 of 31 Printed on:12/1/2022 8:55 AM Branch :FC0 User :JSTI
MARICOPA, AZ Document:LN 1998.762857 Page:13 of 31 Printed on:12/1/2022 8:55 AM Branch :FC0 User :JSTI
MARICOPA, AZ Document:LN 1998.762857 Page:14 of 31 Printed on:12/1/2022 8:55 AM Branch :FC0 User :JSTI
MARICOPA, AZ Document:LN 1998.762857 Page:15 of 31 Printed on:12/1/2022 8:55 AM Branch :FC0 User :JSTI
MARICOPA, AZ Document:LN 1998.762857 Page:16 of 31 Printed on:12/1/2022 8:55 AM Branch :FC0 User :JSTI
MARICOPA, AZ Document:LN 1998.762857 Page:17 of 31 Printed on:12/1/2022 8:55 AM Branch :FC0 User :JSTI
MARICOPA, AZ Document:LN 1998.762857 Page:18 of 31 Printed on:12/1/2022 8:55 AM Branch :FC0 User :JSTI
MARICOPA, AZ Document:LN 1998.762857 Page:19 of 31 Printed on:12/1/2022 8:55 AM Branch :FC0 User :JSTI
MARICOPA, AZ Document:LN 1998.762857 Page:20 of 31 Printed on:12/1/2022 8:55 AM Branch :FC0 User :JSTI
MARICOPA, AZ Document:LN 1998.762857 Page:21 of 31 Printed on:12/1/2022 8:55 AM Branch :FC0 User :JSTI
MARICOPA, AZ Document:LN 1998.762857 Page:22 of 31 Printed on:12/1/2022 8:55 AM Branch :FC0 User :JSTI
MARICOPA, AZ Document:LN 1998.762857 Page:23 of 31 Printed on:12/1/2022 8:55 AM Branch :FC0 User :JSTI
MARICOPA, AZ Document:LN 1998.762857 Page:24 of 31 Printed on:12/1/2022 8:55 AM Branch :FC0 User :JSTI
MARICOPA, AZ Document:LN 1998.762857 Page:25 of 31 Printed on:12/1/2022 8:55 AM Branch :FC0 User :JSTI
MARICOPA, AZ Document:LN 1998.762857 Page:26 of 31 Printed on:12/1/2022 8:55 AM Branch :FC0 User :JSTI
MARICOPA, AZ Document:LN 1998.762857 Page:27 of 31 Printed on:12/1/2022 8:55 AM Branch :FC0 User :JSTI
MARICOPA, AZ Document:LN 1998.762857 Page:28 of 31 Printed on:12/1/2022 8:55 AM Branch :FC0 User :JSTI
MARICOPA, AZ Document:LN 1998.762857 Page:29 of 31 Printed on:12/1/2022 8:55 AM Branch :FC0 User :JSTI
MARICOPA, AZ Document:LN 1998.762857 Page:30 of 31 Printed on:12/1/2022 8:55 AM Branch :FC0 User :JSTI
MARICOPA, AZ Document:LN 1998.762857 Page:31 of 31 Printed on:12/1/2022 8:55 AM Branch :FC0 User :JSTI
MARICOPA, AZ Document:DED QCL 2022.842564 Page:1 of 2 Printed on:12/1/2022 8:55 AM Branch :FC0 User :JSTI
MARICOPA, AZ Document:DED QCL 2022.842564 Page:2 of 2 Printed on:12/1/2022 8:55 AM Branch :FC0 User :JSTI

Turn static files into dynamic content formats.

Create a flipbook
Issuu converts static files into: digital portfolios, online yearbooks, online catalogs, digital photo albums and more. Sign up and create your flipbook.