574 S Desert Haven Rd

Page 1

©2021 First American Financial Corporation and/or its affiliates. All rights reserved. NYSE: FAF 05252610821
&
PREPARED FOR : First American Title Insurance Company, and the operating divisions thereof, make no express or implied warranty respecting the information presented and assume no responsibility for errors or omissions. First American, the eagle logo, First American Title, and firstam.com are registered trademarks or trademarks of First American Financial Corporation and/or its affiliates. 574 South Desert Haven Road Vail, AZ 85641
COVENANTS, CONDITIONS
RESTRICTIONS

LIMITATION OF LIABILITY FOR INFORMATIONAL REPORTS

IMPORTANT -- PLEASE READ CAREFULLY:

This report is not an insured product or service or a representation of the condition of title to real property. It is not an abst ract, legal opinion, opinion of title, title insurance commitment or preliminary report, or any form of Title Insurance or Guaranty. This report is issued exclusively for the benefit of the Applicant therefor and may not be used or relied upon by any other person. This report may not be reproduced in any manner without First American or Title Security's prior written consent. First American or Title Security does not represent or warrant that the information herein is complete or free from error, and the information herein is provided without any warranties of any kind, as-is, and with all faults. As a material part of the consideration given in exchange for the issuance of this report, recipient agrees that First American or Title Security's sole liability for any loss or damage caused by an error or omission due to inaccurate information or negligence in preparing this report shall be limited to the fee charged for the report. Recipient accepts this report with this limitation and agrees that First American or Title Security would not have issued this report but for the limitation of liability described above. First American or Title Security makes no representation or warranty as to the legality or propriety of recipient's use of the information herein.

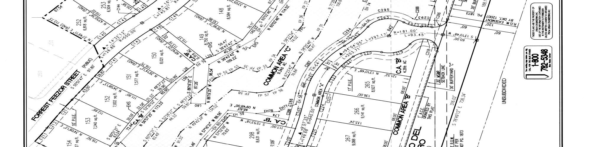
Branch:FC0,User:LMRAComment:StationId:RL13 PIMA,AZPage1of13Printedon11/28/20221:27:57PM Document:SUBDIVISION_MAP59.50
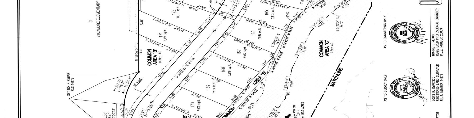
Branch:FC0,User:LMRAComment:StationId:RL13 PIMA,AZPage2of13Printedon11/28/20221:28:02PM Document:SUBDIVISION_MAP59.50
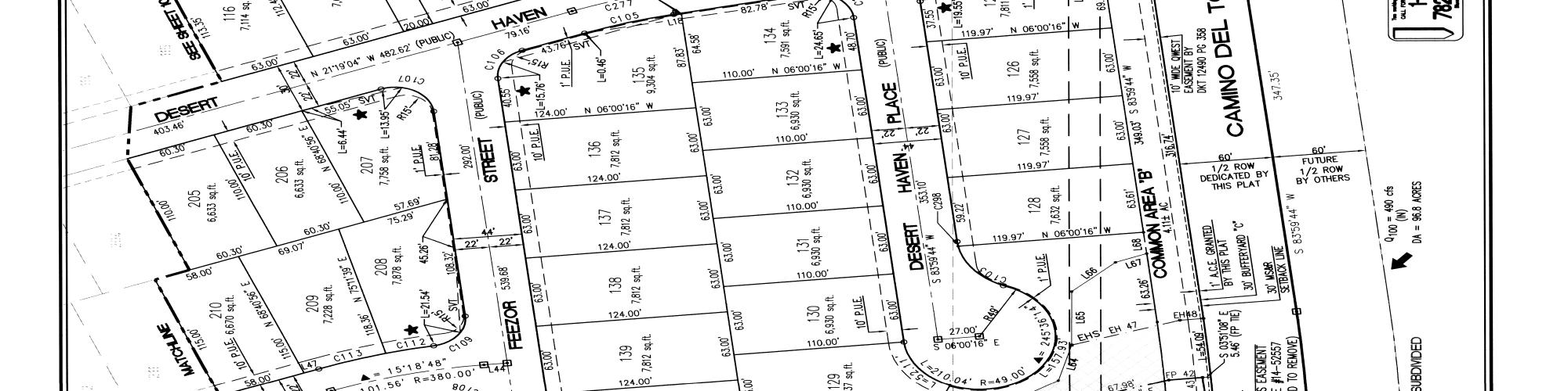
Branch:FC0,User:LMRAComment:StationId:RL13 PIMA,AZPage3of13Printedon11/28/20221:28:08PM Document:SUBDIVISION_MAP59.50
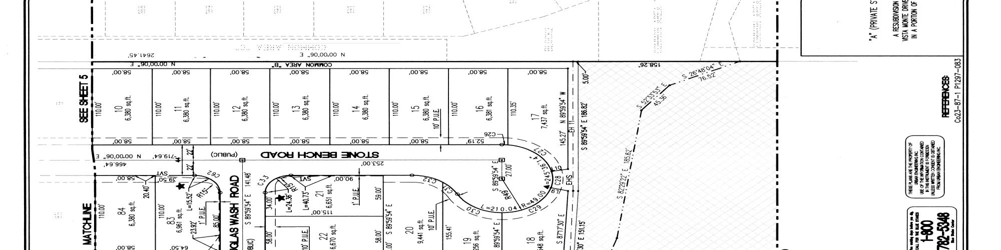
Branch:FC0,User:LMRAComment:StationId:RL13 PIMA,AZPage4of13Printedon11/28/20221:28:12PM Document:SUBDIVISION_MAP59.50
Branch:FC0,User:LMRAComment:StationId:RL13
Document:SUBDIVISION_MAP59.50
PIMA,AZPage5of13Printedon11/28/20221:28:17PM
Branch:FC0,User:LMRAComment:StationId:RL13 PIMA,AZPage6of13Printedon11/28/20221:28:21PM Document:SUBDIVISION_MAP59.50
Branch:FC0,User:LMRAComment:StationId:RL13 PIMA,AZPage7of13Printedon11/28/20221:28:24PM Document:SUBDIVISION_MAP59.50
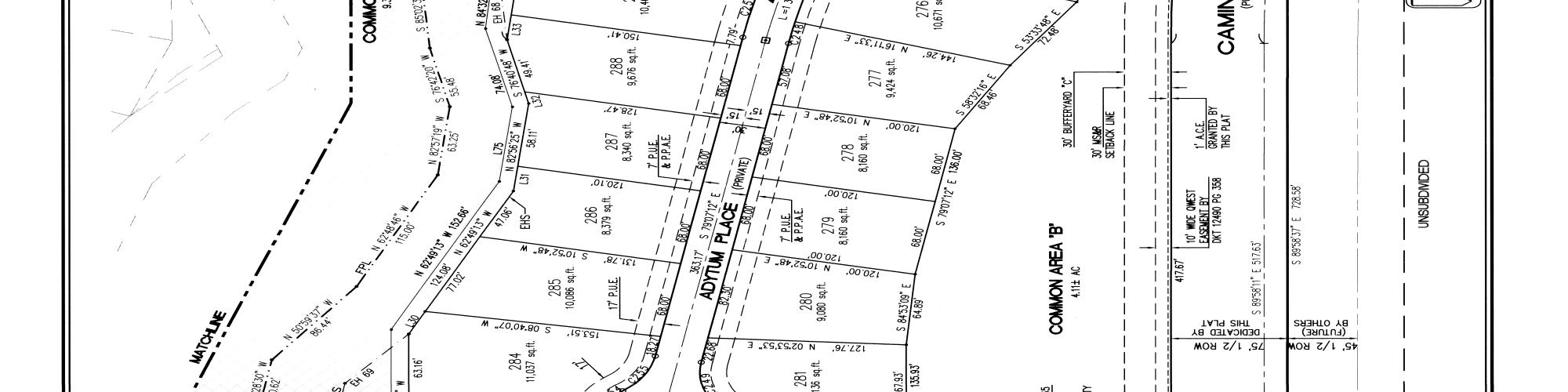
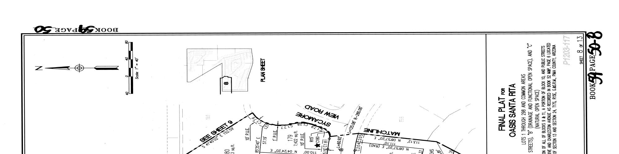
Branch:FC0,User:LMRAComment:StationId:RL13 PIMA,AZPage8of13Printedon11/28/20221:28:28PM Document:SUBDIVISION_MAP59.50
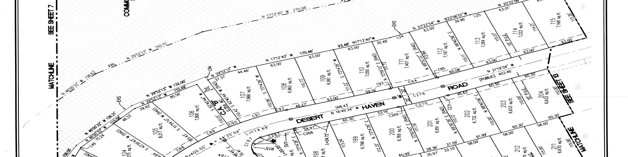
Branch:FC0,User:LMRAComment:StationId:RL13 PIMA,AZPage9of13Printedon11/28/20221:28:31PM Document:SUBDIVISION_MAP59.50
Branch:FC0,User:LMRAComment:StationId:RL13 PIMA,AZPage10of13Printedon11/28/20221:28:34PM Document:SUBDIVISION_MAP59.50
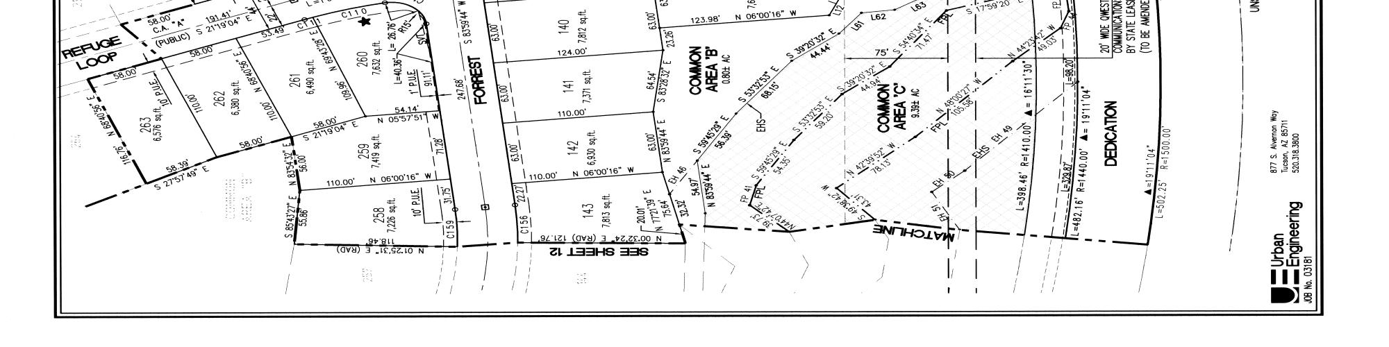
Branch:FC0,User:LMRAComment:StationId:RL13 PIMA,AZPage11of13Printedon11/28/20221:28:37PM Document:SUBDIVISION_MAP59.50
Branch:FC0,User:LMRAComment:StationId:RL13 PIMA,AZPage12of13Printedon11/28/20221:28:40PM Document:SUBDIVISION_MAP59.50
Branch:FC0,User:LMRAComment:StationId:RL13 PIMA,AZPage13of13Printedon11/28/20221:28:43PM Document:SUBDIVISION_MAP59.50
Branch:FC0,User:LMRAComment:StationId:RL13
Document:RESASN13770.184
PIMA,AZPage1of3Printedon11/28/20221:28:43PM
Branch:FC0,User:LMRAComment:StationId:RL13 PIMA,AZPage2of3Printedon11/28/20221:28:43PM Document:RESASN13770.184
Branch:FC0,User:LMRAComment:StationId:RL13
Document:RESASN13770.184
PIMA,AZPage3of3Printedon11/28/20221:28:43PM
Page 1 of 80 09/13/2010 12:25 PM
Page 2 of 80 09/13/2010 12:25 PM
Page 3 of 80 09/13/2010 12:25 PM
Page 4 of 80 09/13/2010 12:25 PM
Page 5 of 80 09/13/2010 12:25 PM
Page 6 of 80 09/13/2010 12:25 PM
Page 7 of 80 09/13/2010 12:25 PM
Page 8 of 80 09/13/2010 12:25 PM
Page 9 of 80 09/13/2010 12:25 PM
Page 10 of 80 09/13/2010 12:25 PM
Page 11 of 80 09/13/2010 12:25 PM
Page 12 of 80 09/13/2010 12:25 PM
Page 13 of 80 09/13/2010 12:25 PM
Page 14 of 80 09/13/2010 12:25 PM
Page 15 of 80 09/13/2010 12:25 PM
Page 16 of 80 09/13/2010 12:25 PM
Page 17 of 80 09/13/2010 12:25 PM
Page 18 of 80 09/13/2010 12:25 PM
Page 19 of 80 09/13/2010 12:25 PM
Page 20 of 80 09/13/2010 12:25 PM
Page 21 of 80 09/13/2010 12:25 PM
Page 22 of 80 09/13/2010 12:25 PM
Page 23 of 80 09/13/2010 12:25 PM
Page 24 of 80 09/13/2010 12:25 PM
Page 25 of 80 09/13/2010 12:25 PM
Page 26 of 80 09/13/2010 12:25 PM
Page 27 of 80 09/13/2010 12:25 PM
Page 28 of 80 09/13/2010 12:25 PM
Page 29 of 80 09/13/2010 12:25 PM
Page 30 of 80 09/13/2010 12:25 PM
Page 31 of 80 09/13/2010 12:25 PM
Page 32 of 80 09/13/2010 12:25 PM
Page 33 of 80 09/13/2010 12:25 PM
Page 34 of 80 09/13/2010 12:25 PM
Page 35 of 80 09/13/2010 12:25 PM
Page 36 of 80 09/13/2010 12:25 PM
Page 37 of 80 09/13/2010 12:25 PM
Page 38 of 80 09/13/2010 12:25 PM
Page 39 of 80 09/13/2010 12:25 PM
Page 40 of 80 09/13/2010 12:25 PM
Page 41 of 80 09/13/2010 12:25 PM
Page 42 of 80 09/13/2010 12:25 PM
Page 43 of 80 09/13/2010 12:25 PM
Page 44 of 80 09/13/2010 12:25 PM
Page 45 of 80 09/13/2010 12:25 PM
Page 46 of 80 09/13/2010 12:25 PM
Page 47 of 80 09/13/2010 12:25 PM
Page 48 of 80 09/13/2010 12:25 PM
Page 49 of 80 09/13/2010 12:25 PM
Page 50 of 80 09/13/2010 12:25 PM
Page 51 of 80 09/13/2010 12:25 PM
Page 52 of 80 09/13/2010 12:25 PM
Page 53 of 80 09/13/2010 12:25 PM
Page 54 of 80 09/13/2010 12:25 PM
Page 55 of 80 09/13/2010 12:25 PM
Page 56 of 80 09/13/2010 12:25 PM
Page 57 of 80 09/13/2010 12:25 PM
Page 58 of 80 09/13/2010 12:25 PM
Page 59 of 80 09/13/2010 12:25 PM
Page 60 of 80 09/13/2010 12:25 PM
Page 61 of 80 09/13/2010 12:25 PM
Page 62 of 80 09/13/2010 12:25 PM
Page 63 of 80 09/13/2010 12:25 PM
Page 64 of 80 09/13/2010 12:25 PM
Page 65 of 80 09/13/2010 12:25 PM
Page 66 of 80 09/13/2010 12:25 PM
Page 67 of 80 09/13/2010 12:25 PM
Page 68 of 80 09/13/2010 12:25 PM
Page 69 of 80 09/13/2010 12:25 PM
Page 70 of 80 09/13/2010 12:25 PM
Page 71 of 80 09/13/2010 12:25 PM
Page 72 of 80 09/13/2010 12:25 PM
Page 73 of 80 09/13/2010 12:25 PM
Page 74 of 80 09/13/2010 12:25 PM
Page 75 of 80 09/13/2010 12:25 PM
Page 76 of 80 09/13/2010 12:25 PM
Page 77 of 80 09/13/2010 12:25 PM
Page 78 of 80 09/13/2010 12:25 PM
Page 79 of 80 09/13/2010 12:25 PM
Page 80 of 80 09/13/2010 12:25 PM

Turn static files into dynamic content formats.

Create a flipbook
Issuu converts static files into: digital portfolios, online yearbooks, online catalogs, digital photo albums and more. Sign up and create your flipbook.
574 S Desert Haven Rd by FirstAmAZ - Issuu