511-52-029

Page 1

Subject Property 10941 W Bee Bee Ln Casa Grande AZ 85193 APN: 511-52-029 Data Provided By: First American Title Ins Co © 2022 CoreLogic. All rights reserved

LIMITATION OF LIABILITY FOR INFORMATIONAL REPORTS

IMPORTANT -- PLEASE READ CAREFULLY:

This report is not an insured product or service or a representation of the condition of title to real property. It is not an abst ract, legal opinion, opinion of title, title insurance commitment or preliminary report, or any form of Title Insurance or Guaranty. This report is issued exclusively for the benefit of the Applicant therefor and may not be used or relied upon by any other person. This report may not be reproduced in any manner without First American or Title Security's prior written consent. First American or Title Security does not represent or warrant that the information herein is complete or free from error, and the information herein is provided without any warranties of any kind, as-is, and with all faults. As a material part of the consideration given in exchange for the issuance of this report, recipient agrees that First American or Title Security's sole liability for any loss or damage caused by an error or omission due to inaccurate information or negligence in preparing this report shall be limited to the fee charged for the report. Recipient accepts this report with this limitation and agrees that First American or Title Security would not have issued this report but for the limitation of liability described above. First American or Title Security makes no representation or warranty as to the legality or propriety of recipient's use of the information herein.

Provided By:

Disclaimer

This REiSource report is provided "as is" without warranty of any kind, either express or implied, including without limitations any warrantees of merchantability or fitness for a particular purpose. There is no representation of warranty that this information is complete or free from error, and the provider does not assume, and expressly disclaims, any liability to any person or entity for loss or damage caused by errors or omissions in this REiSource report without a title insurance policy.

The information contained in the REiSource report is delivered from your Title Company, who reminds you that you have the right as a consumer to compare fees and serviced levels for Title, Escrow, and all other services associated with property ownership, and to select providers accordingly. Your home is the largest investment you will make in your lifetime and you should demand the very best.

Data
First American Title Ins Co
© 2022 CoreLogic. All rights reserved

Subject Property :   10941 W Bee Bee Ln Casa Grande AZ 85193

Owner Information

Owner Name : Estero Dev Partners Lp

Mailing Address : 259 Textile Way #102, Fort Mill SC 29715-4550 R054

Vesting Codes : / / Limited Partnership

Owner Occupied Indicator : A

Location Information

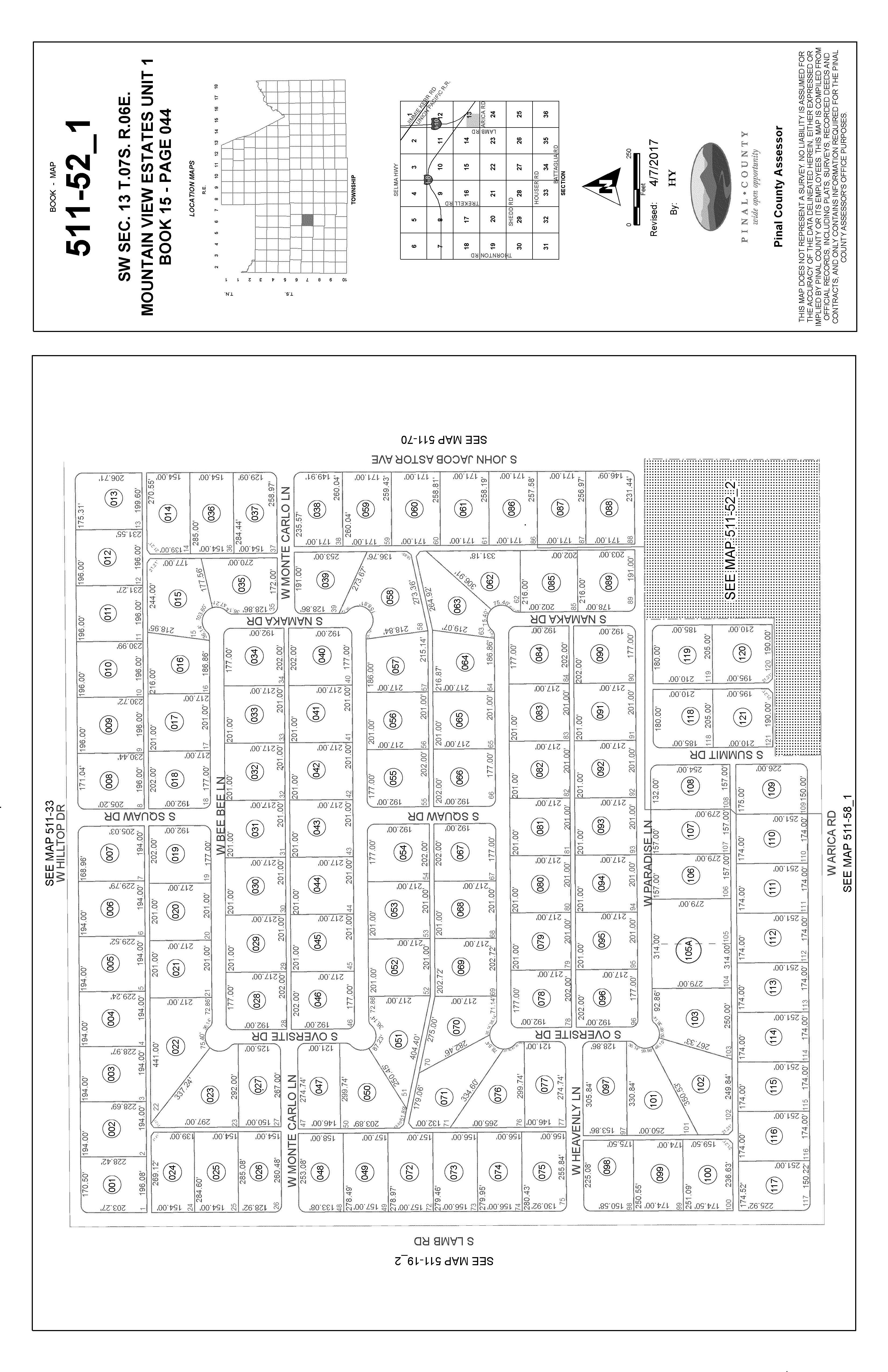
Legal Description : Mountain View Est #1 Lot 29

County : Pinal, Az

Census Tract / Block : 19.00 / 2

Township-Range- Sect : 07S-06E-13

Legal Lot : 29

Last Market Sale Information

Recording/Sale Date : 07/13/2021 / 07/08/2021

APN : 511-52-029

Subdivision : Mountain View Estate #1

Map Reference : 1307S06E

Deed Type : Warranty Deed Sale Price : $59,000 Price Per SqFt : $1.38

Document # : 87720

Title Company : Title Sec Agcy Llc

Seller Name : Fortenberry Theron W

Prior Sale Information

Prior Rec/Sale Date : 12/27/2018 / 12/20/2018

Prior Sale Price : $20,000

Prior Doc Number : 95356

Property Information

Prior Deed Type : Warranty Deed

Prior Lender : Private Individual

Prior 1st Mtg Amt/Type : $15,000 / Private Party

Land Use : Residential Lot Lot Size : 42,616 State Use : Vac-res-rural Subd

Lot Acres : 0.98

Customer Name : Kariann Keomaka

Customer Company Name : First American Title Insurance Company Prepared On : 10/06/2022

© 2022 CoreLogic. All rights reserved

Tax Information

Total Value : $21,000 Tax Year : 2022

Land Value : $21,000

Property Tax : $80.44

Total Taxable Value : $633 Tax Rate Area : 0413

Assessed Year : 2021 Market Value : $21,000

Current Assessed Year : 2023

Current Year Total Value : $4,991

Current Year Land Value : $4,991

Customer Name : Kariann Keomaka Customer Company Name : First American Title Insurance Company Prepared On : 10/06/2022 © 2022 CoreLogic. All rights reserved

Sale Price $59,000 $1,708,000 $1,708,000 $1,708,000

Bldg/Living Area

Price Per Square Foot

Year Built

Size 42,616 5,850 42,944 13,393

Bedrooms

Total Assessed Value $21,000 $1,000 $21,000 $6,000

From Subject

of

S 10941 W Bee Bee Ln 59,000 21,000 07/13/2021

0.41 0.38

42,616

1,708,000 21,000 07/22/2022 42,910 0.32

1,708,000 21,000 07/22/2022 42,941 0.34

1,708,000 1,000 07/22/2022 5,850 0.35

1,708,000 21,000 07/22/2022 42,944 0.36

1,708,000 1,000 07/22/2022 5,998 0.36

1,708,000 1,000 07/22/2022 5,915 0.37

1,708,000 1,000 07/22/2022 5,999 0.37

1,708,000 21,000 07/22/2022 42,905 0.38

1,708,000 1,000 07/22/2022 6,049 0.38

1,708,000 1,000 07/22/2022

1,708,000 1,000 07/22/2022

1,708,000 1,000 07/22/2022

1,708,000 1,000 07/22/2022

1,708,000 1,000 07/22/2022

0.38

0.39

0.39

0.39

0.39

10/06/2022

Sales Analysis Criteria Subject Property Low High Average
$1.38
Lot
Bathrooms Stories
Distance
0 0.32
Summary
Comparables # Address Sale Price Total Assessed Value Sale Date Bed Bath Living Area Lot Size Year Built Dist (Miles) Zoning
1
2
3
4
5
6
7
8
9
10
5,999
11
6,057
12
5,966
13
6,000
14
5,999
Customer Name : Kariann Keomaka Customer Company Name : First American Title Insurance Company Prepared On :
© 2022 CoreLogic. All rights reserved
15 1,708,000 1,000 07/22/2022 6,065 0.4 16 1,708,000 1,000 07/22/2022 6,099 0.4 17 1,708,000 21,000 07/22/2022 6,001 0.4 18 1,708,000 1,000 07/22/2022 6,000 0.4 19 1,708,000 1,000 07/22/2022 6,073 0.4 20 1,708,000 1,000 07/22/2022 6,092 0.41 Distressed Sales = Map Customer Name : Kariann Keomaka Customer Company Name : First American Title Insurance Company Prepared On : 10/06/2022 © 2022 CoreLogic. All rights reserved

Details of Comparables

Subject Property: 10941 W Bee Bee Ln Casa Grande Az 85193

Owner Name: Estero Dev Partners Lp /

APN / Alternate APN: 511-52-029 / Deed Type: Warranty Deed

Land Use: Residential Lot

Subdivision / Tract: Mountain View Estate #1 / Lot Size: 42,616 Year Built / Eff: /

Rec. Date / Price: 07/13/2021 / $59,000 Living Area:

# of units: Document #: 87720 Bedrooms: Pool:

Total Tax Value: $21,000 Bath(F/H): /

#1   Casa Grande Az 85193

Owner Name: Wjh Llc /

APN / Alternate APN: 511-52-118 / Deed Type: Special Warranty Deed Land Use: Residential Lot

Subdivision / Tract: Mountain View Estate #1 / Lot Size: 42,910 Year Built / Eff: /

Rec. Date / Price: 07/22/2022 / $1,708,000 Living Area:

# of units: Document #: 82148 Bedrooms: Pool: Total Tax Value: $21,000 Bath(F/H): /

#2   Casa Grande Az 85193

Owner Name: Wjh Llc /

APN / Alternate APN: 511-52-119 / Deed Type: Special Warranty Deed Land Use: Residential Lot Subdivision / Tract: Mountain View Estate #1 / Lot Size: 42,941 Year Built / Eff: /

Rec. Date / Price: 07/22/2022 / $1,708,000 Living Area:

# of units: Document #: 82148 Bedrooms: Pool: Total Tax Value: $21,000 Bath(F/H): /

#3   Casa Grande Az 85193

Owner Name: Wjh Llc /

APN / Alternate APN: 511-52-137 / Deed Type: Special Warranty Deed Land Use: Residential Lot Subdivision / Tract: Mountain View Estate

#1 / Lot Size: 5,850 Year Built / Eff: /

Rec. Date / Price: 07/22/2022 / $1,708,000 Living Area:

# of units: Document #: 82148 Bedrooms: Pool: Total Tax Value: $1,000 Bath(F/H): /

#4   Casa Grande Az 85193

Owner Name: Wjh Llc /

APN / Alternate APN: 511-52-121 / Deed Type: Special Warranty Deed Land Use: Residential Lot Subdivision / Tract: Mountain View Estate

#1 / Lot Size: 42,944 Year Built / Eff: /

Rec. Date / Price: 07/22/2022 / $1,708,000 Living Area:

# of units: Document #: 82148 Bedrooms: Pool: Total Tax Value: $21,000 Bath(F/H): /

Customer Name : Kariann Keomaka

Customer Company Name : First American Title Insurance Company Prepared On : 10/06/2022

© 2022 CoreLogic. All rights reserved

#5   Casa Grande Az 85193

Owner Name: Wjh Llc /

APN / Alternate APN: 511-52-136 / Deed Type: Special Warranty Deed Land Use: Residential Lot Subdivision / Tract: Mountain View Estate #1 / Lot Size: 5,998 Year Built / Eff: /

Rec. Date / Price: 07/22/2022 / $1,708,000 Living Area:

# of units: Document #: 82148 Bedrooms: Pool:

Total Tax Value: $1,000 Bath(F/H): /

#6   Casa Grande Az 85193

Owner Name: Wjh Llc /

APN / Alternate APN: 511-52-138 / Deed Type: Special Warranty Deed Land Use: Residential Lot Subdivision / Tract: Mountain View Estate #1 / Lot Size: 5,915 Year Built / Eff: /

Rec. Date / Price: 07/22/2022 / $1,708,000 Living Area:

# of units: Document #: 82148 Bedrooms: Pool: Total Tax Value: $1,000 Bath(F/H): /

#7   Casa Grande Az 85193

Owner Name: Wjh Llc /

APN / Alternate APN: 511-52-135 / Deed Type: Special Warranty Deed Land Use: Residential Lot Subdivision / Tract: Mountain View Estate #1 / Lot Size: 5,999 Year Built / Eff: /

Rec. Date / Price: 07/22/2022 / $1,708,000 Living Area:

# of units: Document #: 82148 Bedrooms: Pool:

Total Tax Value: $1,000 Bath(F/H): /

#8   Casa Grande Az 85193

Owner Name: Wjh Llc /

APN / Alternate APN: 511-52-120 / Deed Type: Special Warranty Deed Land Use: Residential Lot Subdivision / Tract: Mountain View Estate #1 / Lot Size: 42,905

Year Built / Eff: /

# of units: Document #: 82148 Bedrooms: Pool:

Rec. Date / Price: 07/22/2022 / $1,708,000 Living Area:

Total Tax Value: $21,000 Bath(F/H): /

#9   Casa Grande Az 85193

Owner Name: Wjh Llc /

APN / Alternate APN: 511-52-139 / Deed Type: Special Warranty Deed Land Use: Residential Lot Subdivision / Tract: Mountain View Estate #1 / Lot Size: 6,049

Year Built / Eff: /

# of units: Document #: 82148 Bedrooms: Pool:

Rec. Date / Price: 07/22/2022 / $1,708,000 Living Area:

Total Tax Value: $1,000 Bath(F/H): /

Customer

First

Insurance Company

10/06/2022

Name : Kariann Keomaka Customer Company Name :
American Title
Prepared On :
© 2022 CoreLogic. All rights reserved

#10   Casa Grande Az 85193

Owner Name: Wjh Llc /

APN / Alternate APN: 511-52-134 / Deed Type: Special Warranty Deed Land Use: Residential Lot Subdivision / Tract: Mountain View Estate #1 / Lot Size: 5,999 Year Built / Eff: /

Rec. Date / Price: 07/22/2022 / $1,708,000 Living Area:

# of units: Document #: 82148 Bedrooms: Pool:

Total Tax Value: $1,000 Bath(F/H): /

#11   Casa Grande Az 85193

Owner Name: Wjh Llc /

APN / Alternate APN: 511-52-140 / Deed Type: Special Warranty Deed Land Use: Residential Lot Subdivision / Tract: Mountain View Estate #1 / Lot Size: 6,057 Year Built / Eff: /

Rec. Date / Price: 07/22/2022 / $1,708,000 Living Area:

# of units: Document #: 82148 Bedrooms: Pool: Total Tax Value: $1,000 Bath(F/H): /

#12   Casa Grande Az 85193

Owner Name: Wjh Llc /

APN / Alternate APN: 511-52-155 / Deed Type: Special Warranty Deed Land Use: Residential Lot Subdivision / Tract: Mountain View Estate #1 / Lot Size: 5,966 Year Built / Eff: /

Rec. Date / Price: 07/22/2022 / $1,708,000 Living Area:

# of units: Document #: 82148 Bedrooms: Pool:

Total Tax Value: $1,000 Bath(F/H): /

#13   Casa Grande Az 85193

Owner Name: Wjh Llc /

APN / Alternate APN: 511-52-133 / Deed Type: Special Warranty Deed Land Use: Residential Lot Subdivision / Tract: Mountain View Estate #1 / Lot Size: 6,000

Year Built / Eff: /

# of units: Document #: 82148 Bedrooms: Pool:

Rec. Date / Price: 07/22/2022 / $1,708,000 Living Area:

Total Tax Value: $1,000 Bath(F/H): /

#14   Casa Grande Az 85193

Owner Name: Wjh Llc /

APN / Alternate APN: 511-52-124 / Deed Type: Special Warranty Deed Land Use: Residential Lot Subdivision / Tract: Mountain View Estate #1 / Lot Size: 5,999

Year Built / Eff: /

# of units: Document #: 82148 Bedrooms: Pool:

Rec. Date / Price: 07/22/2022 / $1,708,000 Living Area:

Total Tax Value: $1,000 Bath(F/H): /

Customer

First American Title Insurance Company

On

10/06/2022

Name : Kariann Keomaka Customer Company Name :
Prepared
:
© 2022 CoreLogic. All rights reserved

#15   Casa Grande Az 85193

Owner Name: Wjh Llc /

APN / Alternate APN: 511-52-141 / Deed Type: Special Warranty Deed Land Use: Residential Lot Subdivision / Tract: Mountain View Estate #1 / Lot Size: 6,065 Year Built / Eff: /

Rec. Date / Price: 07/22/2022 / $1,708,000 Living Area:

# of units: Document #: 82148 Bedrooms: Pool:

Total Tax Value: $1,000 Bath(F/H): /

#16   Casa Grande Az 85193

Owner Name: Wjh Llc /

APN / Alternate APN: 511-52-154 / Deed Type: Special Warranty Deed Land Use: Residential Lot Subdivision / Tract: Mountain View Estate #1 / Lot Size: 6,099 Year Built / Eff: /

Rec. Date / Price: 07/22/2022 / $1,708,000 Living Area:

# of units: Document #: 82148 Bedrooms: Pool:

Total Tax Value: $1,000 Bath(F/H): /

#17   Casa Grande Az 85193

Owner Name: Wjh Llc /

APN / Alternate APN: 511-52-132 / Deed Type: Special Warranty Deed Land Use: Residential Lot Subdivision / Tract: Mountain View Estate #1 / Lot Size: 6,001 Year Built / Eff: /

Rec. Date / Price: 07/22/2022 / $1,708,000 Living Area:

# of units: Document #: 82148 Bedrooms: Pool: Total Tax Value: $21,000 Bath(F/H): /

#18   Casa Grande Az 85193

Owner Name: Wjh Llc /

APN / Alternate APN: 511-52-126 / Deed Type: Special Warranty Deed Land Use: Residential Lot Subdivision / Tract: Mountain View Estate #1 / Lot Size: 6,000

Year Built / Eff: /

# of units: Document #: 82148 Bedrooms: Pool:

Rec. Date / Price: 07/22/2022 / $1,708,000 Living Area:

Total Tax Value: $1,000 Bath(F/H): /

#19   Casa Grande Az 85193

Owner Name: Wjh Llc /

APN / Alternate APN: 511-52-142 / Deed Type: Special Warranty Deed Land Use: Residential Lot Subdivision / Tract: Mountain View Estate #1 / Lot Size: 6,073

Year Built / Eff: /

# of units: Document #: 82148 Bedrooms: Pool:

Rec. Date / Price: 07/22/2022 / $1,708,000 Living Area:

Total Tax Value: $1,000 Bath(F/H): /

Customer Company

Customer Name : Kariann Keomaka

Name : First American Title Insurance Company Prepared On : 10/06/2022

© 2022 CoreLogic. All rights reserved

#20   Casa Grande Az 85193

Owner Name: Wjh Llc / APN / Alternate APN: 511-52-153 / Deed Type: Special Warranty Deed Land Use: Residential Lot Subdivision / Tract: Mountain View Estate #1 / Lot Size: 6,092 Year Built / Eff: /

Rec. Date / Price: 07/22/2022 / $1,708,000 Living Area:

# of units: Document #: 82148 Bedrooms: Pool: Total Tax Value: $1,000 Bath(F/H): /

Customer Name : Kariann Keomaka

Customer Company Name : First American Title Insurance Company Prepared On : 10/06/2022

© 2022 CoreLogic. All rights reserved
Subject Property :   10941 W Bee Bee Ln Casa Grande AZ 85193 Customer Name : Kariann Keomaka Customer Company Name : First American Title Insurance Company Prepared On : 10/06/2022 © 2022 CoreLogic. All rights reserved
Customer Name : Kariann Keomaka Customer Company Name : First American Title Insurance Company Prepared On : 10/06/2022 © 2022 CoreLogic. All rights reserved
Arizona Schools For detailed information and statistics on Arizona schools please go to https://azreportcards.azed.gov/ First American Title Insurance Company, and the operating divisions thereof, make no express or implied warranty respecting the information presented and assume no responsibility for errors or omissions. First American, the eagle logo, First American Title, and firstam.com are registered trademarks or trademarks of First American Financial Corporation and/or its affiliates. ©2021 First American Financial Corporation and/or its affiliates. All rights reserved. NYSE: FAF 05117910421
No local schools data for selected property. Customer Name : Kariann Keomaka Customer Company Name : First American Title Insurance Company Prepared On : 10/06/2022 © 2022 CoreLogic. All rights reserved

Eating / Drinking

Name Address Telephone Distance (Miles)

Elijah, Loddie 5240 N Sunland Gin Rd Eloy Az (520) 836-9681 0.82

Hospitality

Name Address Telephone Distance (Miles)

Nilkanth Inc 5300 N Sunland Gin Rd Casa Grande Az (520) 421-9878 0.89

Eloy Hospitality Inc 5540 N Sunland Gin Rd Eloy Az (520) 836-5000 0.9

Travelodge Casa Grande 5540 N Sunland Gin Rd Eloy Az (520) 836-5000 0.9

Organizations / Associations

Name Address Telephone Distance (Miles)

Arbor Heights Community Church 10840 W Landmark Ln Casa Grande Az (206) 935-5714 0.1

Shopping

Name Address Telephone Distance (Miles)

Mitig Company, Llc 8248 S Namaka Dr Casa Grande Az (520) 836-3639 0.55

Mitig Company, Llc 8248 S Namaka Dr Casa Grande Az (520) 836-3639 0.55

American

Local Business
Customer Name : Kariann Keomaka Customer Company Name : First
Title Insurance Company Prepared On : 10/06/2022 © 2022 CoreLogic. All rights reserved

11023 W BEE BEE LN

Owner Name : Cintron Ruben Sr

Sale Date : 02/28/2022

Total Value : $21,000

Land Use : Sfr

Stories : 1

Yr Blt / Eff Yr Blt : 2020 /

Subdivision  : Mountain View Estate #1

10994 W BEE BEE LN

Owner Name : Griswold Bradley J

Sale Date : 08/31/2015

Total Value : $72,826

Land Use : Manufactured Home

Distance 0.04 Miles

Recording Date : 03/11/2022

Sale Price  : $395,000

Property Tax : $932.62

Lot Acres : 0.98

Living Area : 1,459

APN : 511-52-028

Distance 0.05 Miles

Recording Date : 09/02/2015

Sale Price  : $89,900

Property Tax : $746.14

Lot Acres : 1.00

Stories : 1 Living Area : 1,620

Yr Blt / Eff Yr Blt : 2008 /

Subdivision  : Mountain View Estate #1

10920 W BEE BEE LN

Owner Name : Childers William D

Sale Date : 08/00/1999

Total Value : $70,964

Land Use : Manufactured Home

APN : 511-52-021

Distance 0.05 Miles

Recording Date : 10/19/1999

Sale Price  : $23,000

Property Tax : $326.98

Lot Acres : 1.00

Stories : 1 Living Area : 2,432

Yr Blt / Eff Yr Blt : 2003 /

Subdivision  : Mountain View Estate #1

11002 W LANDMARK LN

Owner Name : Vegasar Invs Prop Llc

Sale Date : 03/10/2021

Total Value : $21,000

Land Use : Residential Acreage

Subdivision : Mountain View Estate #1

APN : 511-52-020

Distance 0.06 Miles

Recording Date : 03/15/2021

Sale Price  : $35,000

Property Tax : $80.44

Lot Acres : 1.03

APN : 511-52-046

Customer

: Kariann Keomaka

: First American Title Insurance Company

10/06/2022

Name
Customer Company Name
Prepared On :
© 2022 CoreLogic. All rights reserved

10900 W LANDMARK LN

Owner Name : Canfield Nancy K

Sale Date : 02/18/2015

Total Value : $198,348

Land Use : Sfr

Stories : 1

Yr Blt / Eff Yr Blt : 2006 /

Subdivision  : Mountain View Estate #1

10857 W BEE BEE LN

Owner Name : De La O Martin A

Sale Date : 12/08/2021

Total Value : $76,531

Land Use : Manufactured Home

Distance 0.06 Miles

Recording Date : 02/20/2015

Sale Price  : $242,000

Property Tax : $2,217.18

Lot Acres : 1.02

Living Area : 2,032

APN : 511-52-044

Distance 0.08 Miles

Recording Date : 12/30/2021

Sale Price  : $295,000

Property Tax : $353.74

Lot Acres : 0.98

Stories : 1 Living Area : 1,680

Yr Blt / Eff Yr Blt : 2006 /

Subdivision  : Mountain View Estate #1

APN : 511-52-031

10864 W BEE BEE LN Distance 0.08 Miles

Owner Name : Bauck Sharon Rose

Sale Date : 07/22/2019

Total Value : $79,175

Land Use : Manufactured Home

Recording Date : 08/09/2019

Sale Price  : $199,000

Property Tax : $930.18

Lot Acres : 1.00

Stories : 1 Living Area : 2,016

Yr Blt / Eff Yr Blt : 1999 /

Subdivision  : Mountain View Estate #1

APN : 511-52-019

Customer Name : Kariann Keomaka

Company Name : First American Title Insurance Company

On : 10/06/2022

Customer
Prepared
© 2022 CoreLogic. All rights reserved

Household

Population Population by Age

Count: 2,492 0 - 11

Estimate Current Year: 2,511 12 - 17

Estimate in 5 Years: 2,589 18 - 24 4.65%

Growth Last 5 Years: -22.03% 25 - 64 47.99%

Growth Last 10 Years: -255.99% 65 - 74 10.03% 75+

Household Size Household Income

Current Year: 784 0 - $25,000 34.06%

Average Current Year: 3.18 $25,000 - $35,000 15.56%

Estimate in 5 Years: 779 $35,000 - $50,000 9.06%

Growth Last 5 Years: -10.71% $50,000 - $75,000 17.35%

Growth Last 10 Years: -12% $75,000 - $100,000 9.18%

Male Population: 47.59% Above $100,000 14.8%

Female Population: 52.41% Average Household Income: $35,469

Married People: 44.41%

Unmarried People: 55.59%

Housing

Median Mortgage Payments Home Values

Under $300: 20.04% Below $100,000: 53.05%

$300 - $799: 38.17% $100,000 - $150,000: 15.08%

$800 - $1,999: 33.97% $150,000 - $200,000: 9.54%

Over $2,000: 7.82% $200,000 - $300,000: 16.03%

Median Home Value: $90,000 $300,000 - $500,000: 5.34%

Unit Occupied Owner: 66.84% Above $500,000: 0.95%

Median Mortgage: $755

Census Tract / block: 19.00 / 2     Year: 2018
Customer Name : Kariann Keomaka Customer Company Name : First American Title Insurance Company Prepared On : 10/06/2022 © 2022 CoreLogic. All rights reserved

Rent Payments Year Built

Unit Occupied Renter: 33.16% 1999 - 2000

Median Gross Rent: $717 1995 - 1998

Less Than $499 17.94% 1990 - 1994

$500 - $749 43.5% 1980 - 1989 9.6%

$750 - $999 28.7% 1970 - 1979 20.15%

$1000 and Over 9.87% 1900 - 1969 20.35%

Education Enrollment

Public Pre-Primary School: 0.58% Not Enrolled in School: 70.18%

Private Pre-Primary School: 0.33% Not A High School Graduate: 28.92%

Public School: 28.2% Graduate Of High School: 26.74%

Private School: 1.62% Attended Some College: 27.24%

Public College: 2.92% College Graduate: 14.99%

Private College: 1.08% Graduate Degree: 2.11% Workforce

Occupation: Manager/Prof: 19.31% Private Worker: 57.23%

Technical: Government Worker: 14.8%

Sales: 25.78% Self Employed Worker: 8.9%

Administrative: Unpaid Family Worker: 9.6%

Private House Hold: Farming: 17.69%

Service: 20.58% Skilled:

Protective Services: Blue-Collar: 34.34%

Commute Time

Less Than 15 Min: 25.47%

15 min - 28 min: 37.95%

30 min - 57 min: 30.84%

Over 60 min: 5.74%

Customer Name : Kariann Keomaka Customer Company Name : First American Title Insurance Company Prepared On : 10/06/2022 © 2022 CoreLogic. All rights reserved
Customer Name : Kariann Keomaka Customer Company Name : First American Title Insurance Company Prepared On : 10/06/2022 © 2022 CoreLogic. All rights reserved
Customer Name : Kariann Keomaka Customer Company Name : First American Title Insurance Company Prepared On : 10/06/2022 © 2022 CoreLogic. All rights reserved
Customer Name : Kariann Keomaka Customer Company Name : First American Title Insurance Company Prepared On : 10/06/2022 © 2022 CoreLogic. All rights reserved

SEARCH PARAMETERS

TAX AMT

FIRST HALF

BLDG SQFT

DATE PAID

00 13

SALES

TURN KEY ENTERPRISES INC

BARDES WILLIAM D

+ FIRST AMERICAN TITLE, FC0, KWAL PINAL (PL), AZ 10/06/2022  10:33AM  TCI1  INVESTIGATIVE SEARCH RESULTS PAGE 1 OF 1
PARCEL:  511-52-0290 PARCEL: 511-52-0290 4 INSTRUMENT REC DATE OWNER: ESTERO DEVELOPMENT PARTNERS  AFFIDAVIT    2021 87720 07/13/2021  SITUS: 10941 W BEE BEE LN Casa Grande  MAIL: 259 Textile Way   LEGAL: MOUNTAIN VIEW EST #1 LOT 29  CURRENT TAXES INFORMATION THROUGH 09/30/2022 LAND IMPR EXEMPT RATE AREA SPECIAL DISTRICTS PRIMARY  665  0  0  9.2467  0413  11900 14613 14900 15625 24001  SECONDARY  3,150  0  0  2.8527   30002  2022 TOTAL TAX BILLED 80.44 2022
TAX DUE INTEREST
TOTAL DUE
80.44  80.44  0.00  80.44  SECOND HALF  0.00  0.00  0.00  0.00  TOTAL CURRENT TAXES DUE 10/22 80.44 11/22 81.51 (ESTIMATED) IMPROVEMENTS
0 FULL CASH VALUE  21,000 YEAR BUILT  0 LAND USE
NUMBER OF STORIES LOT SIZE  0.980 ACRES STORIES HEIGHT  0 SCHOOL DISTRICT  0413 EXTERIOR WALLS LAND FULL CASH VALUE  21,000 GRADE MATERIALS IMPR FULL CASH VALUE  0
SALE DATE SALE AMOUNT INSTRUMENT TYPE SELLER NAME VALIDITY 07/13/2021 59,000    2021 87720 WD FORTENBERRY THERON W 07/28/2005 35,000    2005 94314 WD
04/13/2005 17,000    2005 40423 WD SHARP RICHARD 03/19/2002 12,000    2002 13616 WD
ADDITIONAL PROPERTY INFORMATION STANDARD LAND USE: RESIDENTIAL LOT END SEARCH

Turn static files into dynamic content formats.

Create a flipbook
Issuu converts static files into: digital portfolios, online yearbooks, online catalogs, digital photo albums and more. Sign up and create your flipbook.