21572 S 225th Way, Queen Creek, AZ 85142

Page 1

LIMITATION OF LIABILITY FOR INFORMATIONAL REPORTS

IMPORTANT -- PLEASE READ CAREFULLY:

This report is not an insured product or service or a representation of the condition of title to real property. It is not an abst ract, legal opinion, opinion of title, title insurance commitment or preliminary report, or any form of Title Insurance or Guaranty. This report is issued exclusively for the benefit of the Applicant therefor and may not be used or relied upon by any other person. This report may not be reproduced in any manner without First American or Title Security's prior written consent. First American or Title Security does not represent or warrant that the information herein is complete or free from error, and the information herein is provided without any warranties of any kind, as-is, and with all faults. As a material part of the consideration given in exchange for the issuance of this report, recipient agrees that First American or Title Security's sole liability for any loss or damage caused by an error or omission due to inaccurate information or negligence in preparing this report shall be limited to the fee charged for the report. Recipient accepts this report with this limitation and agrees that First American or Title Security would not have issued this report but for the limitation of liability described above. First American or Title Security makes no representation or warranty as to the legality or propriety of recipient's use of the information herein.

Data Provided By:

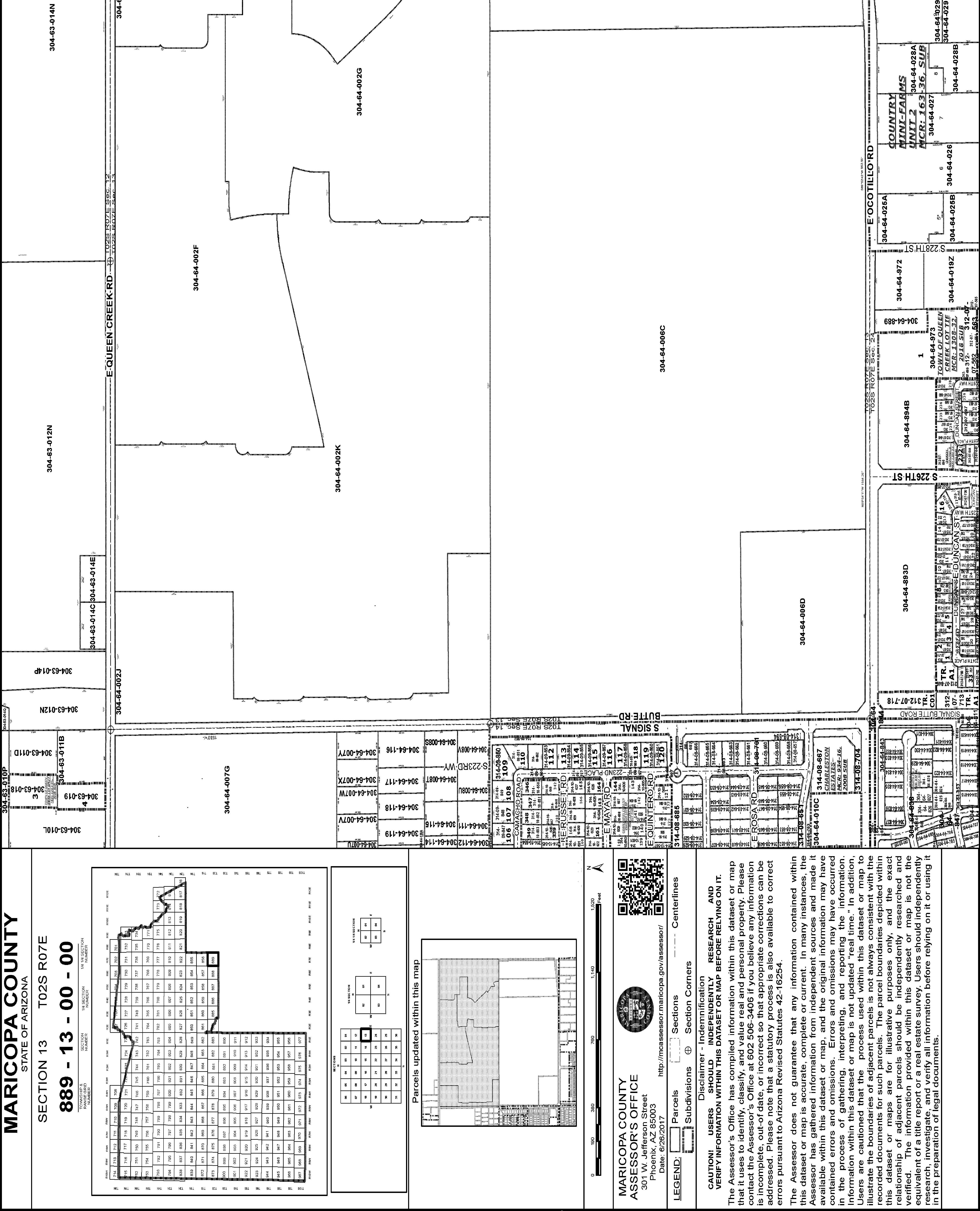
Subject Property 21572 S 225th Way Queen Creek AZ 85142 APN: 314-13-541
First American Title Ins Co © 2022 CoreLogic. All rights reserved

Disclaimer

This REiSource report is provided "as is" without warranty of any kind, either express or implied, including without limitations any warrantees of merchantability or fitness for a particular purpose. There is no representation of warranty that this information is complete or free from error, and the provider does not assume, and expressly disclaims, any liability to any person or entity for loss or damage caused by errors or omissions in this REiSource report without a title insurance policy.

The information contained in the REiSource report is delivered from your Title Company, who reminds you that you have the right as a consumer to compare fees and serviced levels for Title, Escrow, and all other services associated with property ownership, and to select providers accordingly. Your home is the largest investment you will make in your lifetime and you should demand the very best.

© 2022 CoreLogic. All rights reserved

Subject Property :   21572 S 225th Way Queen Creek AZ 85142

Owner Information

Owner Name : Church Carrie Ann Mailing Address : 21572 S 225th Way, Queen Creek AZ 85142-2853 R087

Owner Occupied Indicator : O

Location Information

Legal Description : Lot 447 Spur Cross Phase 2 Parcel 5 Mcr 1398-39

County : Maricopa, Az

Census Tract / Block : 8169.01 / 1

Township-Range- Sect : 02S-07E-13

Legal Lot : 447

APN : 314-13-541

Last Market Sale Information

Recording/Sale Date : 04/28/2021 / 03/29/2021

Sale Price : $490,000

Document # : 472530

Subdivision : Spur Cross Ph 2 Prcl 5

School District : Queen Creek 95

Munic/Township : Queen Creek

Neighbor Code : 28-006

1st Mtg Amount/Type : $465,500 / Cnv

1st Mtg Document # : 472531

1st Mtg Term : 30

Deed Type : Warranty Deed Price Per SqFt : $241.26

Title Company : First American Title

Seller Name : Graba Bardhyl & Daniela

Prior Sale Information

Prior Rec/Sale Date : 10/30/2020 / 10/30/2020

Prior Sale Price : $350,399

Prior Doc Number : 1058005

Property Characteristics

Living Area : 2,031

Year Built / Eff : 2020

Property Information

Land Use : Sfr

Prior Deed Type : Special Warranty Deed

Prior Lender : Homeamerican Mtg Corp

Prior 1st Mtg Amt/Type : $280,319 / Conv

Heat Type : Heated Bath Fixtures : 10

Cooling Type : Heated

Lot Acres : 0.13

Zoning : R1-5 Lot Size : 5,750

State Use : Single Fam Resurban Subd ( 4 )

Customer Name : Jeremiah Stiffler

Customer Company Name : First American Prepared On : 10/19/2022

© 2022 CoreLogic. All rights reserved

Tax Information

Total Value : $255,800

Land Value : $51,100

Improvement Value : $204,700

Total Taxable Value : $17,394

Improve % : 80%

Tax Year : 2021

Property Tax : $1,986.12

Tax Rate Area : 952501

Assessed Year : 2021 Market Value : $255,800

Current Assessed Year : 2023

Current Year Total Value : $37,320

Current Year Improvement Value :

$29,860

Current Year Land Value : $7,460

Customer Name : Jeremiah Stiffler

Customer Company Name : First American Prepared On : 10/19/2022

© 2022 CoreLogic. All rights reserved

490,000 255,800

22,900

19,200

Rosa Rd 502,690 18,400 11/04/2021

Quintero

Quintero

539,470 18,400 11/19/2021

510,400 18,400 12/22/2021

Rosa Rd 552,490 18,400

241,100

283,600

301,700 02/16/2022

58,100

0.07 R1-4

1,819 5,750 2021 0.08 R1-4

5,750 2021 0.08 R1-4

5,750 2021 0.09 R1-4

0.11

5,767

5,971

5,750

0.12

0.25

0.27

0.31 R1-5

0.38

Sales Analysis Criteria Subject Property Low High Average Sale Price $490,000 $485,500 $645,000 $542,860 Bldg/Living Area 2031 1793 2303 2079 Price Per Square Foot $241.26 $211 $301 $262.35 Year Built 2020 2015 2021 2019 Lot Size 5,750 5,750 8,552 6,198 Bedrooms Bathrooms 4 3 3 3 Stories 1 1 1 Total Assessed Value $255,800 $18,400 $301,700 $161,450 Distance From Subject 0 0.03 0.47 0.25 Summary of Comparables # Address Sale Price Total Assessed Value Sale Date Bed
Bath Living Area Lot Size
Year Built
Dist (Miles) Zoning
S 21572 S 225th Way
04/28/2021 4 2,031 5,750 2020 R1-5 1 21581 S 225th Pl 532,990 27,400 12/08/2021 3 1,819 8,552 2021 0.03 R1-4 2 21557 S 225th Ct 549,490
12/30/2021 3 2,136 7,154 2021 0.04 R1-4 3 21521 S 225th Ct 538,170
02/24/2022 3 2,136 5,980 2021 0.07 R1-4 4 22546 E Quintero Rd 527,990 18,400 02/04/2022 3 1,819 5,750 2021
5 22560 E
3
6 22539 E
Rd
3 2,136
7 22531 E
Rd
3 1,819
8 22559 E
11/05/2021 3 2,136 5,750 2021
R1-4 9 21493 S 226th Pl 495,000
10/07/2022 3 1,793
2020
R1-5 10 22770 E Rosa Rd 585,000
05/27/2022 3 1,946 6,025 2020
R1-5 11 22789 E Rosa Rd 575,000
3 2,165
2020
R1-5 12 22751 E Estrella Rd 550,000
10/06/2022 3 2,165
2020
13 22492 E Duncan St 530,000 261,600 05/04/2022 3 2,061 6,325 2016
R1-4 Customer Name : Jeremiah Stiffler Customer Company Name : First American Prepared On : 10/19/2022 © 2022 CoreLogic. All rights reserved
14 22550 E Munoz St 543,000 260,000 03/24/2022 3 2,061 6,050 2016 0.41 R1-4 15 22243 S 225th Way 600,000 289,500 08/04/2022 3 2,303 6,314 2018 0.41 R1-4 16 22457 E Duncan St 585,000 274,600 06/10/2022 3 2,303 6,044 2017 0.42 R1-4 17 22563 E Munoz St 500,000 261,600 10/21/2021 3 2,061 6,336 2017 0.44 R1-4 18 22507 E Munoz St 485,500 278,100 08/25/2022 3 2,303 6,050 2016 0.45 R1-4 19 22562 E Tierra Grande 645,000 284,300 05/10/2022 3 2,303 6,849 2015 0.46 R1-4 20 22530 E Tierra Grande 510,000 273,300 09/13/2022 3 2,303 6,050 2015 0.47 R1-4 Distressed Sales = Map Customer Name : Jeremiah Stiffler Customer Company Name : First American Prepared On : 10/19/2022 © 2022 CoreLogic. All rights reserved

Details of Comparables

Subject Property: 21572 S 225th Way Queen Creek Az 85142

Owner Name: Church Carrie Ann / APN / Alternate APN: 314-13-541 / Deed Type: Warranty Deed

Land Use: Sfr

Year Built / Eff: 2020 / Rec. Date / Price: 04/28/2021 / $490,000 Living Area: 2,031

Subdivision / Tract: Spur Cross Ph 2 Prcl 5 / Lot Size: 5,750

# of units:

Bedrooms: Pool: Total Tax Value: $255,800 Bath(F/H): /

Document #: 472530

#1   21581 S 225th Pl Queen Creek Az 85142

Owner Name: Marquardt Joseph / APN / Alternate APN: 314-13-936 / Deed Type: Special Warranty Deed Land Use: Sfr Subdivision / Tract: Spur Cross Prcl 1 / Lot Size: 8,552

Year Built / Eff: 2021 / Rec. Date / Price: 12/08/2021 / $532,990 Living Area: 1,819

# of units:

Bedrooms: Pool: Total Tax Value: $27,400 Bath(F/H): /

Document #: 1301125

#2   21557 S 225th Ct Queen Creek Az 85142

Owner Name: Weaver Blair /Ohaire Katherine M APN / Alternate APN: 314-13-934 / Deed Type: Special Warranty Deed Land Use: Sfr Subdivision / Tract: Spur Cross Prcl 1 / Lot Size: 7,154

Year Built / Eff: 2021 / Rec. Date / Price: 12/30/2021 / $549,490 Living Area: 2,136

# of units:

Bedrooms: Pool: Total Tax Value: $22,900 Bath(F/H): /

Document #: 1385454

#3   21521 S 225th Ct Queen Creek Az 85142

Owner Name: Jorgensen Christian N /Jorgensen Katel APN / Alternate APN: 314-13-931 / Deed Type: Special Warranty Deed Land Use: Sfr Subdivision / Tract: Spur Cross Prcl 1 / Lot Size: 5,980

Year Built / Eff: 2021 / Rec. Date / Price: 02/24/2022 / $538,170 Living Area: 2,136 # of units: Document #: 171539 Bedrooms: Pool:

Total Tax Value: $19,200 Bath(F/H): /

#4   22546 E Quintero Rd Queen Creek Az 85142

Owner Name: Lam Mark /Lam Sarah APN / Alternate APN: 314-13-928 / Deed Type: Special Warranty Deed Land Use: Sfr Subdivision / Tract: Spur Cross Prcl 1 / Lot Size: 5,750

Year Built / Eff: 2021 / Rec. Date / Price: 02/04/2022 / $527,990 Living Area: 1,819

Document #: 109251

# of units:

Bedrooms: Pool:

Total Tax Value: $18,400 Bath(F/H): /

Customer Name : Jeremiah Stiffler

Customer Company Name : First American Prepared On : 10/19/2022

CoreLogic.

© 2022
All rights reserved

#5   22560 E Rosa Rd Queen Creek Az 85142

Owner Name: Takei Naoko / APN / Alternate APN: 314-13-902 / Deed Type: Special Warranty Deed Land Use: Sfr

Subdivision / Tract: Spur Cross Prcl 1 / Lot Size: 5,750

Year Built / Eff: 2021 / Rec. Date / Price: 11/04/2021 / $502,690 Living Area: 1,819

Document #: 1187150

# of units:

Bedrooms: Pool:

Total Tax Value: $18,400 Bath(F/H): /

#6   22539 E Quintero Rd Queen Creek Az 85142

Owner Name: Anto Florence /Baidoo Bismark APN / Alternate APN: 314-13-920 / Deed Type: Special Warranty Deed Land Use: Sfr Subdivision / Tract: Spur Cross Prcl 1 / Lot Size: 5,750

Year Built / Eff: 2021 / Rec. Date / Price: 11/19/2021 / $539,470 Living Area: 2,136

# of units: Document #: 1242116

Bedrooms: Pool:

Total Tax Value: $18,400 Bath(F/H): /

#7   22531 E Quintero Rd Queen Creek Az 85142

Owner Name: Donahue Morgan & John W /Donahue John W APN / Alternate APN: 314-13-919 / Deed Type: Special Warranty Deed Land Use: Sfr

Subdivision / Tract: Spur Cross Prcl 1 / Lot Size: 5,750

Year Built / Eff: 2021 / Rec. Date / Price: 12/22/2021 / $510,400 Living Area: 1,819

# of units:

Bedrooms: Pool: Total Tax Value: $18,400 Bath(F/H): /

Document #: 1357360

#8   22559 E Rosa Rd Queen Creek Az 85142

Owner Name: Smercak Donna M / APN / Alternate APN: 314-13-897 / Deed Type: Special Warranty Deed Land Use: Sfr Subdivision / Tract: Spur Cross Prcl 1 / Lot Size: 5,750

Year Built / Eff: 2021 / Rec. Date / Price: 11/05/2021 / $552,490 Living Area: 2,136

# of units:

Bedrooms: Pool: Total Tax Value: $18,400 Bath(F/H): /

Document #: 1191973

#9   21493 S 226th Pl Queen Creek Az 85142

Owner Name: Martinez Anise R / APN / Alternate APN: 314-13-569 / Deed Type: Warranty Deed Land Use: Sfr Subdivision / Tract: Spur Cross Ph 2 Prcl 5 / Lot Size: 5,767

Year Built / Eff: 2020 / Rec. Date / Price: 10/07/2022 / $495,000 Living Area: 1,793

# of units:

Bedrooms: Pool: Total Tax Value: $241,100 Bath(F/H): /

Document #: 762499

#10   22770 E Rosa Rd Queen Creek Az 85142

Owner Name: Ko Andrew C /Ko Seong E APN / Alternate APN: 314-13-479 / Deed Type: Warranty Deed Land Use: Sfr Subdivision / Tract: Spur Cross Ph 1 Prcl 2 / Lot Size: 6,025

Year Built / Eff: 2020 / Rec. Date / Price: 05/27/2022 / $585,000 Living Area: 1,946

Document #: 456397

# of units:

Bedrooms: Pool:

Total Tax Value: $283,600 Bath(F/H): /

Customer Name : Jeremiah Stiffler

Customer Company Name : First American Prepared On : 10/19/2022

© 2022 CoreLogic. All rights reserved

#11   22789 E Rosa Rd Queen Creek Az 85142

Owner Name: Lamonica Jeremy L /Lamonica Ashley N

APN / Alternate APN: 314-13-481 / Deed Type: Warranty Deed

Land Use: Sfr

Year Built / Eff: 2020 / Rec. Date / Price: 02/16/2022 / $575,000 Living Area: 2,165

Subdivision / Tract: Spur Cross Ph 1 Prcl 2 / Lot Size: 5,971

Document #: 143359

# of units:

Bedrooms: Pool:

Total Tax Value: $301,700 Bath(F/H): /

#12   22751 E Estrella Rd Queen Creek Az 85142

Owner Name: Lineberger Ryan / APN / Alternate APN: 314-13-444 / Deed Type: Warranty Deed Land Use: Sfr

Subdivision / Tract: Spur Cross Ph 1 Prcl 2 / Lot Size: 5,750

Year Built / Eff: 2020 / Rec. Date / Price: 10/06/2022 / $550,000 Living Area: 2,165

Document #: 759673

# of units:

Bedrooms: Pool: Pool

Total Tax Value: $58,100 Bath(F/H): /

#13   22492 E Duncan St Queen Creek Az 85142

Owner Name: Naika Prashanth /Devarajan Deepti APN / Alternate APN: 312-07-724 / Deed Type: Warranty Deed Land Use: Sfr

Subdivision / Tract: Church Farm Prcl A1 / Lot Size: 6,325

Year Built / Eff: 2016 / Rec. Date / Price: 05/04/2022 / $530,000 Living Area: 2,061

# of units:

Document #: 390646

Bedrooms:

Pool: Total Tax Value: $261,600 Bath(F/H): /

#14   22550 E Munoz St Queen Creek Az 85142

Owner Name: Buyer Phoenix Llc / APN / Alternate APN: 312-07-765 / Deed Type: Warranty Deed Land Use: Sfr Subdivision / Tract: Church Farm Prcl A1 / Lot Size: 6,050

Year Built / Eff: 2016 / Rec. Date / Price: 03/24/2022 / $543,000 Living Area: 2,061

# of units:

Bedrooms: Pool: Total Tax Value: $260,000 Bath(F/H): /

Document #: 266022

#15   22243 S 225th Way Queen Creek Az 85142

Owner Name: Winters Mike /Winters Jennifer APN / Alternate APN: 312-07-767 / Deed Type: Warranty Deed

Land Use: Sfr Subdivision / Tract: Church Farm Prcl A1 / Lot Size: 6,314

Year Built / Eff: 2018 / Rec. Date / Price: 08/04/2022 / $600,000 Living Area: 2,303

Document #: 621264

# of units:

Bedrooms: Pool: Pool

Total Tax Value: $289,500 Bath(F/H): /

#16   22457 E Duncan St Queen Creek Az 85142

Owner Name: Resi Labs Pathway Homes Buy / APN / Alternate APN: 312-07-749 / Deed Type: Warranty Deed Land Use: Sfr Subdivision / Tract: Church Farm Prcl A1 / Lot Size: 6,044

Year Built / Eff: 2017 / Rec. Date / Price: 06/10/2022 / $585,000 Living Area: 2,303

Document #: 492224

# of units:

Bedrooms: Pool:

Total Tax Value: $274,600 Bath(F/H): /

Customer Name : Jeremiah Stiffler

Customer Company Name : First American Prepared On : 10/19/2022

© 2022 CoreLogic. All rights reserved

#17   22563 E Munoz St Queen Creek Az 85142

Owner Name: Koorella Karthik / APN / Alternate APN: 312-07-770 / Deed Type: Warranty Deed Land Use: Sfr

Subdivision / Tract: Church Farm Prcl A1 / Lot Size: 6,336

Year Built / Eff: 2017 / Rec. Date / Price: 10/21/2021 / $500,000 Living Area: 2,061

Document #: 1135618

# of units:

Bedrooms: Pool:

Total Tax Value: $261,600 Bath(F/H): /

#18   22507 E Munoz St Queen Creek Az 85142

Owner Name: Progress Phoenix Llc / APN / Alternate APN: 312-07-777 / Deed Type: Warranty Deed Land Use: Sfr

Subdivision / Tract: Church Farm Prcl A1 / Lot Size: 6,050

Year Built / Eff: 2016 / Rec. Date / Price: 08/25/2022 / $485,500 Living Area: 2,303

# of units: Document #: 667442

Bedrooms: Pool:

Total Tax Value: $278,100 Bath(F/H): /

#19   22562 E Tierra Grande Queen Creek Az 85142

Owner Name: Jones Curtis /Jones Patricia APN / Alternate APN: 312-07-801 / Deed Type: Warranty Deed Land Use: Sfr Subdivision / Tract: Church Farm Prcl A1 / Lot Size: 6,849 Year Built / Eff: 2015 / Rec. Date / Price: 05/10/2022 / $645,000 Living Area: 2,303 # of units:

Document #: 408884

Bedrooms: Pool: Pool

Total Tax Value: $284,300 Bath(F/H): /

#20   22530 E Tierra Grande Queen Creek Az 85142

Owner Name: Shirley Adams Trust / APN / Alternate APN: 312-07-797 / Deed Type: Warranty Deed Land Use: Sfr

Subdivision / Tract: Church Farm Prcl A1 / Lot Size: 6,050 Year Built / Eff: 2015 / Rec. Date / Price: 09/13/2022 / $510,000 Living Area: 2,303 # of units:

Document #: 707387

Bedrooms: Pool:

Total Tax Value: $273,300 Bath(F/H): /

Customer Name : Jeremiah Stiffler

Customer Company Name : First American Prepared On : 10/19/2022

© 2022 CoreLogic. All rights reserved
Subject Property :   21572 S 225th Way Queen Creek AZ 85142 Customer Name : Jeremiah Stiffler Customer Company Name : First American Prepared On : 10/19/2022 © 2022 CoreLogic. All rights reserved

Customer Name : Jeremiah Stiffler

Customer Company Name : First American Prepared On : 10/19/2022

2022 CoreLogic.

rights reserved

©
All

Arizona Schools

For detailed information and statistics on Arizona schools please go to

https://azreportcards.azed.gov/ First American Title Insurance Company, and the operating divisions thereof, make no express or implied warranty respecting the information presented and assume no responsibility for errors or omissions. First American, the eagle logo, First American Title, and firstam.com are registered trademarks or trademarks of First American Financial Corporation and/or its affiliates. ©2021 First American Financial Corporation and/or its affiliates. All rights reserved. NYSE: FAF 05117910421

Public Schools :

Elementary Schools

American Leadership Academy Signal Butte K-6

Distance 0.62 Miles Apn 304-64-878 Queen Creek AZ 85142

Telephone : (480) 420-2101

Lowest Grade : K

School District : American Leadership Academy Inc. (4348)

Highest Grade : 6th

Kindergarten : Yes School Enrollment :

Enrollment : 359

Total Expenditure/Student :

Distance 0.93 Miles 22801 E Via Del Jardin Queen Creek AZ 85142

Faith Mather Sossaman Elementary School

Telephone : (480) 474-6900

Lowest Grade : Pre-K

School District : Queen Creek Unified District (4245)

Highest Grade : 6th

Kindergarten : Yes School Enrollment : Enrollment : 814

Total Expenditure/Student : 98

Benjamin Franklin Charter School - Crismon Distance 0.98 Miles 22120 E Queen Creek Rd Queen Creek AZ 85142

Telephone : (480) 987-0722

Lowest Grade : K

School District : Benjamin Franklin Charter School - Queen Creek (4355)

Highest Grade : 6th

Kindergarten : Yes School Enrollment : Enrollment : 712

Total Expenditure/Student :

Customer Name : Jeremiah Stiffler

Customer Company Name : First American Prepared On : 10/19/2022

CoreLogic.

© 2022
All rights reserved

Katherine Mecham Barney Elementary

Distance 1.14 Miles 19684 S. 225th Pl Queen Creek AZ 85142

Telephone : (480) 987-7490

Lowest Grade : Pre-K

School District : Queen Creek Unified District (4245)

Highest Grade : 6th

Kindergarten : Yes School Enrollment :

Enrollment :

Total Expenditure/Student : 98

Middle Schools

Queen Creek Junior High School

Distance 2.25 Miles 20435 S Old Ellsworth Rd Queen Creek AZ 85142

Telephone : (480) 987-5940

Lowest Grade : 7th

School District : Queen Creek Unified District (4245)

Highest Grade : 8th

Kindergarten : No School Enrollment :

Enrollment : 591

Total Expenditure/Student : 98

Distance 4.71 Miles 24937 S Sossaman Rd Queen Creek AZ 85142

Newell Barney Junior High

Telephone : (480) 474-6700

Lowest Grade : 7th

School District : Queen Creek Unified District (4245)

Highest Grade : 8th

Kindergarten : No School Enrollment : Enrollment : 901

Total Expenditure/Student : 98

Customer Name : Jeremiah Stiffler

Customer Company Name : First American Prepared On : 10/19/2022

© 2022 CoreLogic. All rights reserved

Sossaman Middle School

Distance 4.92 Miles 18655 E Jacaranda Blvd Queen Creek AZ 85142

Telephone : (480) 279-8500

Lowest Grade : 7th

School District : Higley Unified School District (4248)

Highest Grade : 8th

Kindergarten : No School Enrollment : Enrollment : 1089

Total Expenditure/Student : 155

High Schools

Queen Creek High School

Distance 0.69 Miles 22149 E Ocotillo Rd Queen Creek AZ 85142

Telephone : (480) 987-5973

School District : Queen Creek Unified District (4245)

Highest Grade : 12th School Enrollment : Enrollment : 2169

Lowest Grade : 9th

Total Expenditure/Student : 98

Advanced Placement : No

Distance 0.69 Miles 22149 E Ocotillo Rd Queen Creek AZ 85142

Evit - Queen Creek High School

Telephone : (480) 461-4000

School District : East Valley Institute Of Technology (4516)

Lowest Grade : 9th Highest Grade : 12th School Enrollment : Enrollment : 0

Total Expenditure/Student :

Advanced Placement : No

Distance 3.75 Miles 2505 E Germann Rd San Tan Valley AZ 85140

Evit - Combs High School

Telephone : (480) 461-4000

School District : East Valley Institute Of Technology (4516)

Highest Grade : 12th School Enrollment : Enrollment : 0

Lowest Grade : 9th

Total Expenditure/Student :

Advanced Placement : No

Company Name : First American

On : 10/19/2022

Customer Name : Jeremiah Stiffler
Customer
Prepared
© 2022 CoreLogic. All rights reserved

Combs High School

Distance 3.76 Miles 2505 E Germann Rd San Tan Valley AZ 85140

Telephone : (480) 882-3540

School District : J O Combs Unified School District (4445)

Highest Grade : 12th School Enrollment : Enrollment : 1435

Lowest Grade : 8th

Total Expenditure/Student : 139 Advanced Placement : No

Customer Name : Jeremiah Stiffler

Customer Company Name : First American Prepared On : 10/19/2022

© 2022 CoreLogic. All rights reserved

Local Business

Attractions / Recreation

Name Address

Telephone Distance (Miles)

Empress Entertainment Llc 1045 W Empress Tree Ave San Tan Valley Az (480) 634-5549 1.18

Mission 2 Play Laser Tag-archery Tag 21629 S 215th Pl Queen Creek Az (480) 980-7953 1.34

M2ptactical 21629 S 215th Pl Queen Creek Az (480) 980-7952 1.34

Stacee's School Of Dance 21492 E Domingo Rd Queen Creek Az (435) 272-6823 1.38

Banks / Financial

Name Address

Telephone Distance (Miles)

Nyles Nettleton 22042 E Tierra Grande Ct Queen Creek Az (408) 807-1249 0.9

Ironwood Capital Funding, Llc 710 W Witt Ave San Tan Valley Az (480) 648-9598 1.47

Peoples Mortgage Co 21321 E Ocotillo Rd # 111 Queen Creek Az (480) 426-9052 1.57

Jdk Funding Services, Llc 510 W Lyle Ave Queen Creek Az (480) 924-0626 1.6

Eating / Drinking

Name Address

Telephone Distance (Miles)

Wu Con Corp 22237 E Maya Rd Queen Creek Az (406) 261-5359 0.42

Bear's Bakery Box 22143 E Domingo Rd Queen Creek Az (602) 699-5588 0.58

Homers Smokehouse 1532 W Ocotillo Rd San Tan Valley Az (480) 440-9734 0.84

Last Chance Salon, Llc 1414 W Ocotillo Rd Queen Creek Az (480) 988-1970 0.89

Health Care Services

Name Address

Telephone Distance (Miles)

Ink Therapy 22345 E Escalante Rd Queen Creek Az (480) 431-1170 0.31

Enhanced Medical Centers 22531 E Munoz St Queen Creek Az (480) 582-9325 0.44

Smith Chiropractic 22531 E Munoz St Queen Creek Az (480) 758-4252 0.44

Desert Hills Physical Therapy And Wellness, Llc 22496 E Munoz St Queen Creek Az (520) 595-0506 0.44

Customer Name : Jeremiah Stiffler

Customer Company Name : First American Prepared On : 10/19/2022

© 2022 CoreLogic. All rights reserved

Hospitality

Name Address

Telephone Distance (Miles)

Econo Lodge 20943 E Desert Hills Blvd Queen Creek Az (970) 565-3474 2.04

Hampton Inn Queen Creek 20768 E Maya Rd Queen Creek Az (480) 888-7474 2.27

Texas Holdem Motel Llc 22632 S Ellsworth Rd Queen Creek Az (480) 988-1114 2.32

Beach Adventures, Llc 18811 E Via De Palmas Queen Creek Az (480) 241-3438 4.93

Organizations / Associations

Name Address Telephone Distance (Miles)

Victory Community Church - Az 21503 E Russet Rd Queen Creek Az (480) 245-7516 1.39

Free Will Baptist 431 W Ocotillo Rd San Tan Valley Az (480) 435-1668 1.48

Life Point Church 40947 N Hearn St Queen Creek Az (480) 677-4755 1.49

Groundwork Ministries 23327 S 214th St Queen Creek Az (602) 391-6215 1.78

Personal Services

Name Address Telephone Distance (Miles)

Oneway Sports Llc 22050 E Queen Creek Rd Queen Creek Az (480) 204-6379 0.97

24-karat Fitness Llc 22050 E Queen Creek Rd Queen Creek Az (480) 677-2372 1.01

La Pura Vida Medspa Llc 22974 S 218th St Queen Creek Az (480) 842-5180 1.24

Crossfit Obsessions 20897 S 214th Pl Queen Creek Az (480) 280-7804 1.5

Shopping

Name Address

Telephone Distance (Miles)

Bloom Valley Market, Llc 1092 W Date Rd San Tan Valley Az (480) 621-0166 1.2

Raw Living Foods Llc 558 W Stanley Ave Queen Creek Az (480) 550-1059 1.58

Central Purchasing, Llc 21244 E Ocotillo Rd Queen Creek Az (480) 506-0888 1.7

Fast Market 8140 21198 E Ocotillo Rd Queen Creek Az (480) 987-1008 1.82

Customer Name : Jeremiah Stiffler

Customer Company Name : First American Prepared On : 10/19/2022

© 2022 CoreLogic. All rights reserved

21548 S 225TH WAY

Owner Name : Crismon Janet Kaye

Sale Date : 10/05/2020

Total Value : $267,800

Bed / Bath : / 4

Land Use : Sfr

Distance 0.02 Miles

Recording Date : 10/29/2020

Sale Price  : $381,999

Property Tax : $2,085.04

Lot Acres : 0.13

Living Area : 2,632

Yr Blt / Eff Yr Blt : 2020 / APN : 314-13-539

Subdivision  : Spur Cross Ph 2 Prcl 5

21536 S 225TH WAY

Owner Name : Bodell Ian James

Sale Date : 03/15/2021

Total Value : $58,100

Bed / Bath : / 3

Distance 0.03 Miles

Recording Date : 03/30/2021

Sale Price  : $347,462

Property Tax : $649.74

Lot Acres : 0.13

Land Use : Sfr Living Area : 1,729

Yr Blt / Eff Yr Blt : 2021 /

Subdivision  : Spur Cross Ph 2 Prcl 5

APN : 314-13-538

21608 S 225TH WAY Distance 0.03 Miles

Owner Name : Gonzalez Daniel

Sale Date : 11/23/2020

Total Value : $241,000

Bed / Bath : / 3

Recording Date : 12/14/2020

Sale Price  : $315,248

Property Tax : $1,865.86

Lot Acres : 0.13

Land Use : Sfr Living Area : 1,793

Yr Blt / Eff Yr Blt : 2020 / APN : 314-13-544

Subdivision  : Spur Cross Ph 2 Prcl 5

21581 S 225TH PL

Owner Name : Marquardt Joseph

Sale Date : 10/15/2021

Total Value : $27,400

Bed / Bath : / 3

Land Use : Sfr

Stories : 1

Yr Blt / Eff Yr Blt : 2021 /

Distance 0.03 Miles

Subdivision : Spur Cross Prcl 1

Recording Date : 12/08/2021

Sale Price  : $532,990

Property Tax : $326.62

Lot Acres : 0.20

Living Area : 1,819

APN : 314-13-936

Customer Name : Jeremiah Stiffler

Customer Company Name : First American Prepared On : 10/19/2022

© 2022 CoreLogic. All rights reserved

21559 S 225TH WAY

Owner Name : Laliberte Andrew Joseph

Sale Date : 11/17/2020

Total Value : $246,200

Bed / Bath : / 3

Land Use : Sfr

Yr Blt / Eff Yr Blt : 2020 /

Subdivision  : Spur Cross Ph 2 Prcl 5

21595 S 225TH WAY

Owner Name : Eldridge Samantha Rose

Sale Date : 09/23/2020

Total Value : $241,000

Bed / Bath : / 3

Distance 0.03 Miles

Recording Date : 12/16/2020

Sale Price  : $349,525

Property Tax : $1,905.46

Lot Acres : 0.13

Living Area : 1,832

APN : 314-13-583

Distance 0.04 Miles

Recording Date : 10/29/2020

Sale Price  : $336,547

Property Tax : $1,881.22

Lot Acres : 0.13

Land Use : Sfr Living Area : 1,793

Yr Blt / Eff Yr Blt : 2020 /

Subdivision  : Spur Cross Ph 2 Prcl 5

APN : 314-13-586

21547 S 225TH WAY Distance 0.04 Miles

Owner Name : Mendez Lori

Sale Date : 11/10/2020

Total Value : $246,200

Bed / Bath : / 3

Recording Date : 11/17/2020

Sale Price  : $333,118

Property Tax : $1,913.14

Lot Acres : 0.13

Land Use : Sfr Living Area : 1,832

Yr Blt / Eff Yr Blt : 2020 / APN : 314-13-582

Subdivision  : Spur Cross Ph 2 Prcl 5

21632 S 225TH WAY Distance 0.05 Miles

Owner Name : Ellen Faith Pantel

Sale Date : 01/27/2021

Total Value : $58,100

Bed / Bath : / 3

Land Use : Sfr

Yr Blt / Eff Yr Blt : 2021 /

Subdivision  : Spur Cross Ph 2 Prcl 5

Recording Date : 02/10/2021

Sale Price  : $384,995

Property Tax : $657.42

Lot Acres : 0.13

Living Area : 1,832

APN : 314-13-546

Customer Name : Jeremiah Stiffler

Customer Company Name : First American Prepared On : 10/19/2022

© 2022 CoreLogic. All rights reserved

21512 S 225TH WAY

Owner Name : Odell Zachary

Sale Date : 01/11/2021

Total Value : $58,100

Bed / Bath : / 3

Land Use : Sfr

Stories : 2

Distance 0.05 Miles

Subdivision : Spur Cross Ph 2 Prcl 5

Recording Date : 03/05/2021

Sale Price  : $448,803

Property Tax : $649.74

Lot Acres : 0.13

Living Area : 2,632

Yr Blt / Eff Yr Blt : 2021 / APN : 314-13-536

21619 S 225TH WAY Distance 0.05 Miles

Owner Name : Lozano Diego F Neyra

Sale Date : 12/01/2020

Total Value : $58,100

Bed / Bath : / 3

Subdivision : Spur Cross Ph 2 Prcl 5

Recording Date : 01/15/2021

Sale Price  : $438,137

Property Tax : $657.42

Land Use : Sfr Lot Acres : 0.13

Stories : 2

Living Area : 2,632

Yr Blt / Eff Yr Blt : 2021 / APN : 314-13-588

Customer Name : Jeremiah Stiffler

Customer Company Name : First American Prepared On : 10/19/2022

© 2022 CoreLogic. All rights reserved

No demographics data for selected property.

Customer Name : Jeremiah Stiffler

Customer Company Name : First American

On : 10/19/2022

Prepared
© 2022 CoreLogic. All rights reserved

SEARCH PARAMETERS

TOTAL DUE

1,019.49  1,019.49

1,019.49  1,019.49

10/22 2,038.98

2,052.57

+ FIRST AMERICAN TITLE, FC0, JSTI MARICOPA, AZ 10/19/2022  10:23AM  R9C8  INVESTIGATIVE SEARCH RESULTS PAGE 1 OF 1
PARCEL:  314-13-541 PARCEL: 314-13-541 3 INSTRUMENT REC DATE OWNER: CHURCH CARRIE ANN     2021 472530 04/28/2021  SITUS: 21572 S 225TH WAY QUEEN CREEK  MAIL: 21572 S 225TH WAY   PLAT: 1398 -   39 LOT    447 LEGAL: SPUR CROSS PHASE 2 PARCEL 5 MCR 1398-39  CURRENT TAXES INFORMATION THROUGH 10/14/2022 LAND IMPR EXEMPT RATE AREA SPECIAL DISTRICTS PRIMARY  18,264  0  0  8.3026  952501  14712 23963 29100 30001  SECONDARY  5,790  23,190  0  3.9497  2022 TOTAL TAX BILLED 2,038.98 2022  TAX AMT TAX DUE INTEREST DATE PAID
FIRST HALF
0.00  1,019.49  SECOND HALF
0.00  1,019.49  TOTAL CURRENT TAXES DUE
11/22
(ESTIMATED) RESIDENTIAL IMPROVEMENTS BLDG SQFT  2,031 COOLING  REFRIGERATION YEAR BUILT  2020 EXTERIOR WALLS  OTHER NUMBER OF STORIES  1.0 ROOF  OTHER NUMBER OF ROOMS CONSTRUCTION CLASS  R4 NUMBER OF BATH FIXTURES  10 PHYSICAL CONDITION  OTHER PATIO (TYPE AND NUMBER)  COVERED 1 LAND USE  01 41 GARAGE (TYPE AND NUMBER)  GARAGE 2 LOT SIZE  5,750 SQ FT POOL SQ FT SCHOOL DISTRICT  952501 HEATING LAND FULL CASH VALUE  57,900 IMPR FULL CASH VALUE 231,900 SALES SALE DATE SALE AMOUNT INSTRUMENT TYPE SELLER NAME VALIDITY 04/28/2021 490,000    2021 472530 WD GRABA BARDHY DANIELA 10/30/2020 350,399    2020 1058005 SW RICHMOND AMERICAN HOMES OF ADDITIONAL PROPERTY INFORMATION STANDARD LAND USE: SFR END SEARCH
MARICOPA, AZ Document:DED WAR 2021.472530 Page:1 of 2 Printed on:10/19/2022 10:26 AM Branch :FC0 User :JSTI
MARICOPA, AZ Document:DED WAR 2021.472530 Page:2 of 2 Printed on:10/19/2022 10:26 AM Branch :FC0 User :JSTI
MARICOPA, AZ Document:DOT 2021.472531 Page:1 of 11 Printed on:10/19/2022 10:26 AM Branch :FC0 User :JSTI
MARICOPA, AZ Document:DOT 2021.472531 Page:2 of 11 Printed on:10/19/2022 10:26 AM Branch :FC0 User :JSTI
MARICOPA, AZ Document:DOT 2021.472531 Page:3 of 11 Printed on:10/19/2022 10:26 AM Branch :FC0 User :JSTI
MARICOPA, AZ Document:DOT 2021.472531 Page:4 of 11 Printed on:10/19/2022 10:26 AM Branch :FC0 User :JSTI
MARICOPA, AZ Document:DOT 2021.472531 Page:5 of 11 Printed on:10/19/2022 10:26 AM Branch :FC0 User :JSTI
MARICOPA, AZ Document:DOT 2021.472531 Page:6 of 11 Printed on:10/19/2022 10:26 AM Branch :FC0 User :JSTI
MARICOPA, AZ Document:DOT 2021.472531 Page:7 of 11 Printed on:10/19/2022 10:26 AM Branch :FC0 User :JSTI
MARICOPA, AZ Document:DOT 2021.472531 Page:8 of 11 Printed on:10/19/2022 10:26 AM Branch :FC0 User :JSTI
MARICOPA, AZ Document:DOT 2021.472531 Page:9 of 11 Printed on:10/19/2022 10:26 AM Branch :FC0 User :JSTI
MARICOPA, AZ Document:DOT 2021.472531 Page:10 of 11 Printed on:10/19/2022 10:26 AM Branch :FC0 User :JSTI
MARICOPA, AZ Document:DOT 2021.472531 Page:11 of 11 Printed on:10/19/2022 10:26 AM Branch :FC0 User :JSTI

Turn static files into dynamic content formats.

Create a flipbook
Issuu converts static files into: digital portfolios, online yearbooks, online catalogs, digital photo albums and more. Sign up and create your flipbook.