16450 W. Chuparosa Lane

Page 1

Surprise AZ 85387
Title Ins Co © 2022 CoreLogic. All rights reserved
Subject Property 16450 W Chuparosa Ln
APN: 232-45-086 Data Provided By: First American

LIMITATION OF LIABILITY FOR INFORMATIONAL REPORTS

IMPORTANT -- PLEASE READ CAREFULLY:

This report is not an insured product or service or a representation of the condition of title to real property. It is not an abst ract, legal opinion, opinion of title, title insurance commitment or preliminary report, or any form of Title Insurance or Guaranty. This report is issued exclusively for the benefit of the Applicant therefor and may not be used or relied upon by any other person. This report may not be reproduced in any manner without First American or Title Security's prior written consent. First American or Title Security does not represent or warrant that the information herein is complete or free from error, and the information herein is provided without any warranties of any kind, as-is, and with all faults. As a material part of the consideration given in exchange for the issuance of this report, recipient agrees that First American or Title Security's sole liability for any loss or damage caused by an error or omission due to inaccurate information or negligence in preparing this report shall be limited to the fee charged for the report. Recipient accepts this report with this limitation and agrees that First American or Title Security would not have issued this report but for the limitation of liability described above. First American or Title Security makes no representation or warranty as to the legality or propriety of recipient's use of the information herein.

Disclaimer

This REiSource report is provided "as is" without warranty of any kind, either express or implied, including without limitations any warrantees of merchantability or fitness for a particular purpose. There is no representation of warranty that this information is complete or free from error, and the provider does not assume, and expressly disclaims, any liability to any person or entity for loss or damage caused by errors or omissions in this REiSource report without a title insurance policy.

The information contained in the REiSource report is delivered from your Title Company, who reminds you that you have the right as a consumer to compare fees and serviced levels for Title, Escrow, and all other services associated with property ownership, and to select providers accordingly. Your home is the largest investment you will make in your lifetime and you should demand the very best.

Data Provided By: First American Title Ins Co
© 2022 CoreLogic. All rights reserved

Subject Property :   16450 W Chuparosa Ln Surprise AZ 85387

Owner Information

Owner Name : Foy Norman T

Mailing Address : 16450 W Chuparosa Ln, Surprise AZ 85387-2728 R073

Vesting Codes : Husband/wife / / Trust

Owner Occupied Indicator : O

Location Information

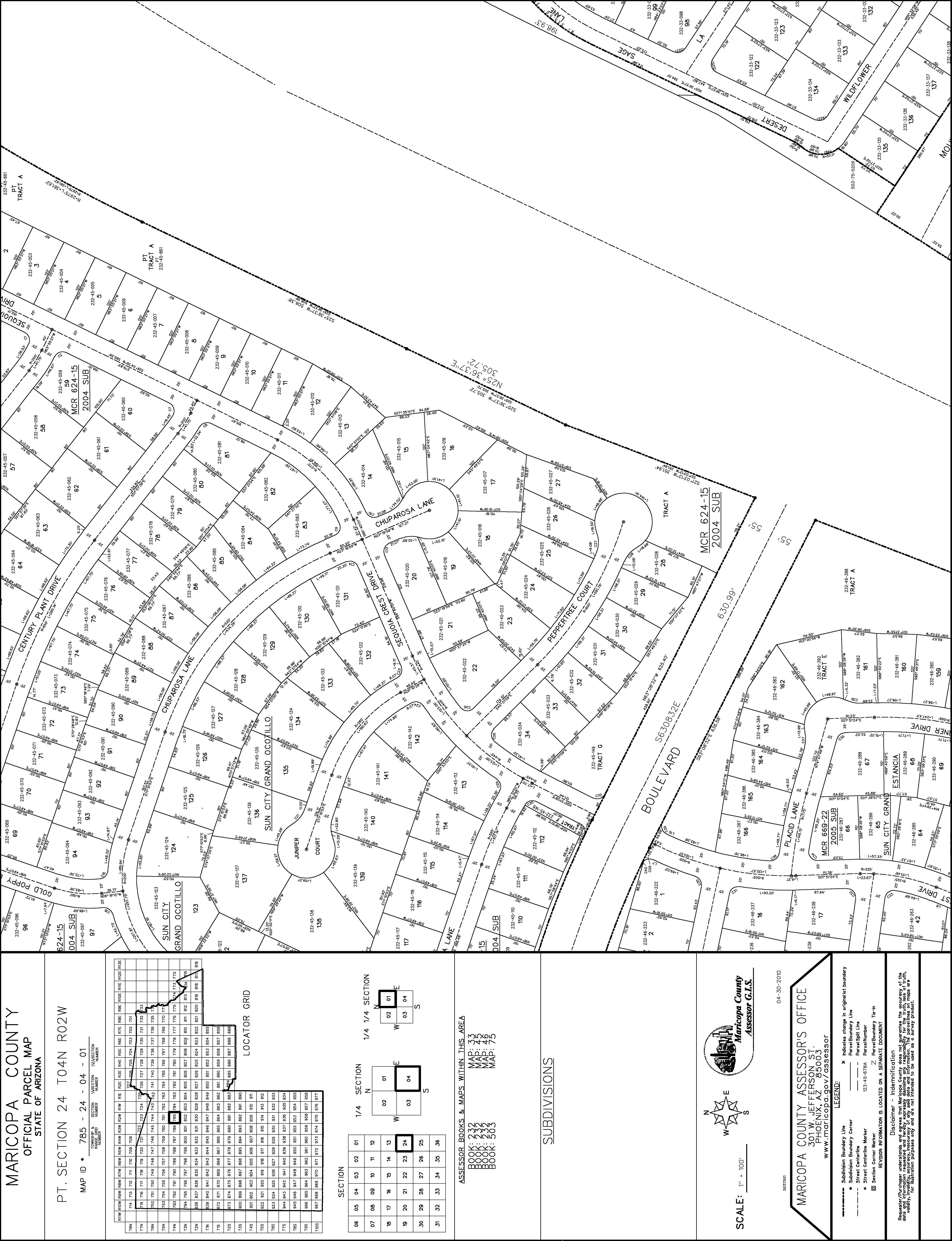
Legal Description : Lot 86 Sun City Grand Ocotillo Mcr 624-15

County : Maricopa, Az

Census Tract / Block : 405.24 / 1

Township-Range- Sect : 04N-02W-24

Legal Lot : 86

Subdivision : Sun City Grand Ocotillo

Map Reference : 62415

School District : Dysart 89

Munic/Township : Surprise APN : 232-45-086

Neighbor Code : 10-008

Owner Transfer Information

Recording/Sale Date : 12/03/2013 / 11/27/2013

Deed Type : Warranty Deed Document # : 1028832

Last Market Sale Information

Recording/Sale Date : 02/17/2004 / 11/00/2003

Sale Price : $162,089

Document # : 153360

Title Company : Sun Title

Seller Name : Del Webbs Communities Inc

Property Characteristics

Gross Area : 1,427

Living Area : 1,427

Total Rooms : 5

Year Built / Eff : 2003

# of Stories : 1

Parking Type : Garage

Garage Capacity : 2

Deed Type : Special Warranty Deed

Price Per SqFt : $113.59

Patio Type : Concrete/ masonry Patio

Roof Material : Concrete Tile Air Cond : Refrigeration

Heat Type : Forced Air Quality : Average

Cooling Type : Forced Air Condition : Average

Exterior wall : Frame Wood Bath Fixtures : 7

Customer Name : Kariann Keomaka

Customer Company Name : First American Title Insurance Company

Prepared On : 11/22/2022

CoreLogic.

© 2022
All rights reserved

Property Information

Land Use : Sfr Lot Size : 6,991

Zoning : PLANNED AREA DEVELOPMENT Water Type : Type Unknown

Lot Acres : 0.16

Tax Information

Total Value : $223,100 Improve % : 80%

Land Value : $44,600

Improvement Value : $178,500

Total Taxable Value : $20,740

Tax Year : 2022

Property Tax : $1,883.20

Tax Rate Area : 891503

Assessed Year : 2021 Market Value : $223,100

Sewer Type : Public Service

State Use : Single Fam Resurban Subd ( 3 )

Current Assessed Year : 2023

Current Year Total Value : $28,710

Current Year Improvement Value :

$22,970

Current Year Land Value : $5,740

Customer Name : Kariann Keomaka

Customer Company Name : First American Title Insurance Company Prepared On : 11/22/2022

© 2022
All rights reserved
CoreLogic.
Sales Analysis Criteria Subject Property Low High Average Sale Price $162,089
Bldg/Living Area
Price Per Square Foot
Year Built 2003 1997
2002 Lot Size
Bedrooms Bathrooms 3 2
Stories 1 1
1 Total Assessed Value $223,100
Distance From Subject 0 0.12 0.4 0.28 Summary of Comparables # Address Sale Price Total Assessed Value Sale Date Bed Bath Living Area Lot Size Year Built Dist (Miles) Zoning S 16450 W Chuparosa Ln 162,089
3
1 16412 W Peppertree Ct
3
2 21043 N Sequoia Crest Dr 369,000
2
3 16551 W Wild Horse Way 398,000
02/10/2022 3 1,282
4 21149 N Mariposa Grove Ln 373,000
10/05/2022 3 1,298 7,200
5 21161 N Mariposa Grove Ln 396,000
05/06/2022 2 1,298 7,200
6 21211 N Mariposa Grove Ln 405,000 178,200 03/01/2022 2 1,411 7,200
Customer Name
Kariann Keomaka Customer Company Name : First American Title Insurance Company Prepared
© 2022 CoreLogic. All rights reserved
$355,000 $470,000 $401,003
1427 1262 1627 1374
$113.59 $267 $317 $292.22
2005
6,991 5,150 8,921 7,209
3 2
1
$178,200 $243,200 $210,580
223,100 02/17/2004
1,427 6,991 2003 PLANNED AREA DEVELOPMENT
395,000 216,300 03/24/2022
1,310 8,467 2003 0.12 PLANNED AREA DEVELOPMENT
203,500 09/21/2022
1,280 8,332 2003 0.14 PLANNED AREA DEVELOPMENT
211,100
7,178 2004 0.18 PLANNED AREA DEVELOPMENT
206,500
2005 0.2 PLANNED AREA DEVELOPMENT
202,100
2004 0.21 PLANNED AREA DEVELOPMENT
2005 0.24 PLANNED AREA DEVELOPMENT
:
On : 11/22/2022

7 20479 N Desert Sage Ln 389,000 192,500 06/15/2022 2 1,278 8,376 1997 0.24 PLANNED AREA DEVELOPMENT 8 16573 W Tranquility Ln 393,000 225,700 08/25/2022 3 1,473 7,150 2004 0.28 PLANNED AREA DEVELOPMENT 9 20680 N Shadow Mountain Dr 390,000 204,200 02/10/2022 2 1,393 6,790 2002 0.29 PLANNED AREA DEVELOPMENT 10 20452 N Sojourner Dr 410,000 243,200 10/24/2022 3 1,427 7,267 2004 0.29 PLANNED AREA DEVELOPMENT 11 16535 W Torrance Ln 429,200 224,300 02/25/2022 2 1,482 7,184 2004 0.31 PLANNED AREA DEVELOPMENT 12 20603 N Shadow Mountain Dr 385,000 204,200 04/26/2022 2 1,322 6,760 2001 0.31 PLANNED AREA DEVELOPMENT 13 20673 N Shadow Mountain Dr 385,000 203,100 12/09/2021 3 1,338 5,150 2000 0.31 PLANNED AREA DEVELOPMENT 14 20683 N Shadow Mountain Dr 425,000 215,300 05/13/2022 3 1,495 6,495 2000 0.32 PLANNED AREA DEVELOPMENT 15 16301 W Kearney Ln 430,000 221,000 04/14/2022 3 1,427 6,600 2004 0.35 PLANNED AREA DEVELOPMENT 16 16061 W Verbena Ln 470,000 228,200 06/06/2022 3 1,627 6,600 2000 0.35 PLANNED AREA DEVELOPMENT 17 21527 N Casa Royale Dr 399,850 210,300 08/17/2022 2 1,262 7,878 2004 0.37 PLANNED AREA DEVELOPMENT 18 16038 W Autumn Sage Dr 398,000 208,200 05/06/2022 2 1,414 6,600 1999 0.38 PLANNED AREA DEVELOPMENT 19 20465 N Oasis Verde Way 425,000 208,100 06/30/2022 2 1,400 8,921 1997 0.38 PLANNED AREA DEVELOPMENT 20 21563 N Casa Royale Dr 355,000 205,600 11/24/2021 2 1,262 6,829 2004 0.4 PLANNED AREA DEVELOPMENT

Customer Name : Kariann Keomaka Customer Company Name : First American Title Insurance Company Prepared On : 11/22/2022

Distressed Sales =
©
All rights reserved
2022 CoreLogic.
Map
©
All rights reserved
Customer
Name : Kariann Keomaka
Customer
Company Name : First American Title Insurance Company Prepared On : 11/22/2022
2022 CoreLogic.

Details of Comparables

Subject Property: 16450 W Chuparosa Ln Surprise Az 85387

Owner Name: Foy Norman T / APN / Alternate APN: 232-45-086 / Deed Type: Special Warranty Deed Land Use: Sfr Subdivision / Tract: Sun City Grand Ocotillo / Lot Size: 6,991 Year Built / Eff: 2003 / Rec. Date / Price: 02/17/2004 / $162,089 Living Area: 1,427

# of units: Document #: 153360 Bedrooms: Pool: Total Tax Value: $223,100 Bath(F/H): /

#1   16412 W Peppertree Ct Surprise Az 85387

Owner Name: John C Sparks Family Trust / APN / Alternate APN: 232-45-025 / Deed Type: Warranty Deed Land Use: Sfr Subdivision / Tract: Sun City Grand Ocotillo / Lot Size: 8,467 Year Built / Eff: 2003 / Rec. Date / Price: 03/24/2022 / $395,000 Living Area: 1,310

# of units: Document #: 263546 Bedrooms: Pool: Total Tax Value: $216,300 Bath(F/H): /

#2   21043 N Sequoia Crest Dr Surprise Az 85387

Owner Name: Williams Kenneth L & R / APN / Alternate APN: 232-45-001 / Deed Type: Warranty Deed Land Use: Sfr Subdivision / Tract: Sun City Grand Ocotillo / Lot Size: 8,332 Year Built / Eff: 2003 / Rec. Date / Price: 09/21/2022 / $369,000 Living Area: 1,280

# of units: Document #: 724172 Bedrooms: Pool: Total Tax Value: $203,500 Bath(F/H): /

#3   16551 W Wild Horse Way Surprise Az 85387

Owner Name: Bleth Leonard P /Bleth Carol A APN / Alternate APN: 232-46-073 / Deed Type: Warranty Deed Land Use: Sfr Subdivision / Tract: Sun City Grand Rincon / Lot Size: 7,178 Year Built / Eff: 2004 / Rec. Date / Price: 02/10/2022 / $398,000 Living Area: 1,282

# of units: Document #: 124279 Bedrooms: Pool: Total Tax Value: $211,100 Bath(F/H): /

#4

21149 N Mariposa Grove Ln Surprise Az 85387

Owner Name: Thomas Dawn M / APN / Alternate APN: 503-58-104 / Deed Type: Warranty Deed

Land Use: Sfr Subdivision / Tract: Sun City Grand Capitan / Lot Size: 7,200 Year Built / Eff: 2005 /

Rec. Date / Price: 10/05/2022 / $373,000 Living Area: 1,298

# of units: Document #: 758382 Bedrooms: Pool: Total Tax Value: $206,500 Bath(F/H): /

Customer

Customer Company Name : First American Title Insurance Company Prepared On : 11/22/2022

Name : Kariann Keomaka
© 2022 CoreLogic. All rights reserved

#5

21161 N Mariposa Grove Ln Surprise Az 85387

Owner Name: Brulotte Bradley / APN / Alternate APN: 503-58-103 / Deed Type: Warranty Deed Land Use: Sfr Subdivision / Tract: Sun City Grand Capitan / Lot Size: 7,200 Year Built / Eff: 2004 / Rec. Date / Price: 05/06/2022 / $396,000 Living Area: 1,298

# of units: Document #: 398156 Bedrooms: Pool:

Total Tax Value: $202,100 Bath(F/H): /

#6

21211 N Mariposa Grove Ln Surprise Az 85387

Owner Name: Owner Record / APN / Alternate APN: 503-58-101 / Deed Type: Warranty Deed Land Use: Sfr Subdivision / Tract: Sun City Grand Capitan / Lot Size: 7,200 Year Built / Eff: 2005 / Rec. Date / Price: 03/01/2022 / $405,000 Living Area: 1,411 # of units: Document #: 189581 Bedrooms: Pool:

Total Tax Value: $178,200 Bath(F/H): /

#7

20479 N Desert Sage Ln Surprise Az 85374

Owner Name: Smith Donna / APN / Alternate APN: 232-33-101 / Deed Type: Warranty Deed Land Use: Sfr Subdivision / Tract: Sun City Grand Desert Sage / Lot Size: 8,376 Year Built / Eff: 1997 / Rec. Date / Price: 06/15/2022 / $389,000 Living Area: 1,278 # of units: Document #: 502740 Bedrooms: Pool: Total Tax Value: $192,500 Bath(F/H): /

#8   16573 W Tranquility Ln Surprise Az 85387

Owner Name: Jensen Robert R /Jensen Melanie D APN / Alternate APN: 232-46-259 / Deed Type: Warranty Deed Land Use: Sfr Subdivision / Tract: Sun City Grand Estancia / Lot Size: 7,150 Year Built / Eff: 2004 / Rec. Date / Price: 08/25/2022 / $393,000 Living Area: 1,473 # of units: Document #: 667685 Bedrooms: Pool: Total Tax Value: $225,700 Bath(F/H): /

#9

20680 N Shadow Mountain Dr Surprise Az 85374

Owner Name: Roy Dennis L / APN / Alternate APN: 232-37-329 / Deed Type: Warranty Deed Land Use: Sfr Subdivision / Tract: Sun City Grand Desert Sage 2 Lts 220-241 Rep / Lot Size: 6,790 Year Built / Eff: 2002 / Rec. Date / Price: 02/10/2022 / $390,000 Living Area: 1,393

# of units: Document #: 124913 Bedrooms: Pool: Total Tax Value: $204,200 Bath(F/H): /

Customer Name : Kariann Keomaka Customer Company Name : First American Title Insurance Company
© 2022 CoreLogic. All rights reserved
Prepared On : 11/22/2022

#10   20452 N Sojourner Dr Surprise Az 85387

Owner Name: Gjerstad David / APN / Alternate APN: 232-46-293 / Deed Type: Warranty Deed Land Use: Sfr Subdivision / Tract: Sun City Grand Estancia / Lot Size: 7,267 Year Built / Eff: 2004 / Rec. Date / Price: 10/24/2022 / $410,000 Living Area: 1,427

# of units: Document #: 795375 Bedrooms: Pool: Pool

Total Tax Value: $243,200 Bath(F/H): /

#11

16535 W Torrance Ln Surprise Az 85387

Owner Name: Shirley Mayes Living Trust / APN / Alternate APN: 232-46-279 / Deed Type: Warranty Deed Land Use: Sfr Subdivision / Tract: Sun City Grand Estancia / Lot Size: 7,184 Year Built / Eff: 2004 / Rec. Date / Price: 02/25/2022 / $429,200 Living Area: 1,482

# of units: Document #: 173162 Bedrooms: Pool: Total Tax Value: $224,300 Bath(F/H): /

#12

20603 N Shadow Mountain Dr Surprise Az 85374

Owner Name: Carlos Armando /Carlos Keri R APN / Alternate APN: 232-37-252 / Deed Type: Warranty Deed Land Use: Sfr Subdivision / Tract: Sun City Grand Desert Sage 2 / Lot Size: 6,760 Year Built / Eff: 2001 / Rec. Date / Price: 04/26/2022 / $385,000 Living Area: 1,322

# of units: Document #: 363285 Bedrooms: Pool: Total Tax Value: $204,200 Bath(F/H): /

#13

20673 N Shadow Mountain Dr Surprise Az 85374

Owner Name: Orseck Donald /Orseck Linda APN / Alternate APN: 232-37-259 / Deed Type: Warranty Deed Land Use: Sfr Subdivision / Tract: Sun City Grand Desert Sage 2 / Lot Size: 5,150 Year Built / Eff: 2000 / Rec. Date / Price: 12/09/2021 / $385,000 Living Area: 1,338

# of units: Document #: 1304661 Bedrooms: Pool: Total Tax Value: $203,100 Bath(F/H): /

#14   20683

N Shadow Mountain Dr Surprise Az 85374

Owner Name: Hixon Melissa K / APN / Alternate APN: 232-37-260 / Deed Type: Warranty Deed Land Use: Sfr Subdivision / Tract: Sun City Grand Desert Sage 2 / Lot Size: 6,495 Year Built / Eff: 2000 / Rec. Date / Price: 05/13/2022 / $425,000 Living Area: 1,495

# of units: Document #: 417905 Bedrooms: Pool:

Total Tax Value: $215,300 Bath(F/H): /

Customer Name : Kariann Keomaka
© 2022 CoreLogic. All rights reserved
Customer Company Name : First American Title Insurance Company Prepared On : 11/22/2022

#15

16301 W Kearney Ln Surprise Az 85387

Owner Name: Carpenter Christy L / APN / Alternate APN: 503-58-188 / Deed Type: Warranty Deed Land Use: Sfr Subdivision / Tract: Sun City Grand Capitan / Lot Size: 6,600 Year Built / Eff: 2004 / Rec. Date / Price: 04/14/2022 / $430,000 Living Area: 1,427

# of units: Document #: 329155 Bedrooms: Pool: Total Tax Value: $221,000 Bath(F/H): /

#16

16061 W Verbena Ln Surprise Az 85374

Owner Name: Schabel Jennifer L /Schabel Michael E APN / Alternate APN: 232-37-263 / Deed Type: Warranty Deed Land Use: Sfr Subdivision / Tract: Sun City Grand Desert Sage 2 / Lot Size: 6,600 Year Built / Eff: 2000 / Rec. Date / Price: 06/06/2022 / $470,000 Living Area: 1,627

# of units: Document #: 477718 Bedrooms: Pool: Total Tax Value: $228,200 Bath(F/H): /

#17   21527

N Casa Royale Dr Surprise Az 85387

Owner Name: Chamblin Stephanie / APN / Alternate APN: 503-58-068 / Deed Type: Warranty Deed Land Use: Sfr Subdivision / Tract: Sun City Grand Capitan / Lot Size: 7,878 Year Built / Eff: 2004 / Rec. Date / Price: 08/17/2022 / $399,850 Living Area: 1,262

# of units: Document #: 649957 Bedrooms: Pool: Total Tax Value: $210,300 Bath(F/H): /

#18   16038

W Autumn Sage Dr Surprise Az 85374

Owner Name: Gilland Terry E /Gilland Phyllis A APN / Alternate APN: 232-37-267 / Deed Type: Warranty Deed Land Use: Sfr Subdivision / Tract: Sun City Grand Desert Sage 2 / Lot Size: 6,600 Year Built / Eff: 1999 / Rec. Date / Price: 05/06/2022 / $398,000 Living Area: 1,414

# of units: Document #: 397708 Bedrooms: Pool: Total Tax Value: $208,200 Bath(F/H): /

#19

20465 N Oasis Verde Way Surprise Az 85374

Owner Name: Brambilla Barry /Brambilla Karin APN / Alternate APN: 232-33-402 / Deed Type: Warranty Deed Land Use: Sfr Subdivision / Tract: Sun City Grand Desert Sage / Lot Size: 8,921 Year Built / Eff: 1997 / Rec. Date / Price: 06/30/2022 / $425,000 Living Area: 1,400

# of units: Document #: 541891 Bedrooms: Pool: Total Tax Value: $208,100 Bath(F/H): /

Customer Name : Kariann Keomaka
© 2022 CoreLogic. All rights reserved
Customer Company Name : First American Title Insurance Company Prepared On : 11/22/2022

#20   21563 N Casa Royale Dr Surprise Az 85387

Owner Name: Lund Philip O /Lund Tiloura J

APN / Alternate APN: 503-58-065 /

Deed Type: Warranty Deed

Subdivision / Tract: Sun City Grand Capitan / Lot Size: 6,829

Land Use: Sfr

Year Built / Eff: 2004 /

# of units: Document #: 1257545

Rec. Date / Price: 11/24/2021 / $355,000 Living Area: 1,262

Bedrooms: Pool: Total Tax Value: $205,600 Bath(F/H): /

Customer Name : Kariann Keomaka Customer Company Name : First American Title Insurance Company
© 2022
All rights reserved
Prepared On : 11/22/2022
CoreLogic.
© 2022 CoreLogic. All rights reserved
Subject Property :   16450 W Chuparosa Ln Surprise AZ 85387 Customer Name : Kariann Keomaka Customer Company Name : First American Title Insurance Company Prepared On : 11/22/2022

Customer Name : Kariann Keomaka Customer Company Name : First American Title Insurance Company Prepared On : 11/22/2022 © 2022 CoreLogic. All rights reserved

Arizona Schools

For detailed information and statistics on Arizona schools please go to https://azreportcards.azed.gov/ First American Title Insurance Company, and the operating divisions thereof, make no express or implied warranty respecting the information presented and assume no responsibility for errors or omissions. First American, the eagle logo, First American Title, and firstam.com are registered trademarks or trademarks of First American Financial Corporation and/or its affiliates. ©2021 First American Financial Corporation and/or its affiliates. All rights reserved. NYSE: FAF 05117910421

Public Schools : Elementary Schools

Asante Preparatory Academy

Distance 1.47 Miles 23251 N 166th Dr Surprise AZ 85387

Telephone : (623) 523-8900

School District : Dysart Unified District (4243) Lowest Grade : Pre-K Highest Grade : 8th

Kindergarten : Yes School Enrollment : Enrollment : 395 Total Expenditure/Student : 180

Customer Name : Kariann Keomaka

Customer Company Name : First American Title Insurance Company

Prepared On : 11/22/2022

© 2022 CoreLogic. All rights reserved

Local Business

Attractions / Recreation

Name Address Telephone Distance (Miles)

Golf Games Galore, Llc 15863 W Summerwalk Dr Surprise Az (623) 546-9176 0.58

Eating / Drinking

Name Address Telephone Distance (Miles)

Sweet Treats, Llc 15968 W Indigo Ln Surprise Az (623) 546-2261 0.44

Jj's Grill 20053 N Echo Rim Dr Surprise Az (623) 594-9449 0.58

Restaurana Llc 19900 N Remington Dr Surprise Az (623) 399-6514 0.98

Angela's Kitchen 19900 N Remington Dr Surprise Az (623) 399-6514 0.98

Health Care Services

Name Address Telephone Distance (Miles)

A Brighter Choice Home Care Services, Llc 16430 W Desert Lily Dr Surprise Az (623) 414-1931 0.11

T J Rufrano 20924 N Vista Trl Surprise Az (623) 234-4827 0.19

Natural Options Llc 20911 N Canyon Whisper Dr Surprise Az (623) 533-3613 0.64

Dorothy P Kay 20325 N Wildflower Dr Surprise Az (623) 505-7301 0.76

Organizations / Associations

Name Address Telephone Distance (Miles)

Grace Community Church 16165 W Mtn View Blvd Surprise Az (623) 975-9038 0.3

First Baptist Church/scw 16313 W Tierra Way Surprise Az (623) 910-3673 0.95

Customer Name : Kariann Keomaka

Customer Company Name : First American Title Insurance Company

Prepared On : 11/22/2022

© 2022
All rights reserved
CoreLogic.

16456

W CHUPAROSA LN Distance 0.01 Miles

Owner Name : Montgomery Trust

Sale Date : 11/07/2016

16444

16427

16433

Subdivision : Sun City Grand Ocotillo

Recording Date : 12/06/2016

Total Value : $226,700 Sale Price  : $235,100

Bed / Bath : / 2 Property Tax : $1,909.82

Land Use : Sfr Lot Acres : 0.16

Stories : 1 Living Area : 1,500

Yr Blt / Eff Yr Blt : 2003 / APN : 232-45-087

W CHUPAROSA LN Distance 0.01 Miles

Owner Name : Williams Ric C

Sale Date : 02/00/2004

Subdivision : Sun City Grand Ocotillo

Recording Date : 03/17/2004

Total Value : $226,700 Sale Price  : $202,105

Bed / Bath : / 2 Property Tax : $1,900.54

Land Use : Sfr Lot Acres : 0.17

Stories : 1 Living Area : 1,500

Yr Blt / Eff Yr Blt : 2003 / APN : 232-45-085

W CENTURY PLANT DR Distance 0.02 Miles

Owner Name : Raisner Greg

Sale Date : 08/04/2021

Subdivision : Sun City Grand Ocotillo

Recording Date : 08/24/2021

Total Value : $197,200 Sale Price  : $350,000

Bed / Bath : / 2 Property Tax : $1,916.04

Land Use : Sfr Lot Acres : 0.16

Stories : 1 Living Area : 1,178

Yr Blt / Eff Yr Blt : 2003 / APN : 232-45-078

W CENTURY PLANT DR Distance 0.02 Miles

Owner Name : Beath David

Sale Date : 08/29/2011

Subdivision : Sun City Grand Ocotillo

Recording Date : 10/28/2011

Total Value : $209,700 Sale Price  : $171,500

Bed / Bath : / 2

Property Tax : $1,736.02

Land Use : Sfr Lot Acres : 0.16

Stories : 1 Living Area : 1,310

Yr Blt / Eff Yr Blt : 2004 / APN : 232-45-077

Customer Name : Kariann Keomaka

Customer Company Name : First American Title Insurance Company Prepared On : 11/22/2022

© 2022
All rights reserved
CoreLogic.

16462

W CHUPAROSA LN Distance 0.02 Miles

Owner Name : Hummell Suzanne L

Sale Date : 05/03/2007

16438

16421

Subdivision : Sun City Grand Ocotillo

Recording Date : 05/31/2007

Total Value : $134,500 Sale Price  : $212,000

Bed / Bath : / 2 Property Tax : $1,163.12

Land Use : Sfr Lot Acres : 0.16

Stories : 1 Living Area : 1,178

Yr Blt / Eff Yr Blt : 2003 / APN : 232-45-088

W CHUPAROSA LN Distance 0.02 Miles

Owner Name : Broderick Susan A

Sale Date : 08/23/2022

Subdivision : Sun City Grand Ocotillo

Recording Date : 09/08/2022

Total Value : $254,500 Sale Price  : $480,000

Bed / Bath : / 2 Property Tax : $2,190.36

Land Use : Sfr Lot Acres : 0.19

Stories : 1 Living Area : 1,834

Yr Blt / Eff Yr Blt : 2003 / APN : 232-45-084

W CENTURY PLANT DR Distance 0.03 Miles

Owner Name : Smith Jeffery Paul

Sale Date : 03/06/2008

Subdivision : Sun City Grand Ocotillo

Recording Date : 03/07/2008

Total Value : $251,600 Sale Price  : $289,500

Bed / Bath : / 2

Property Tax : $2,590.74

Land Use : Sfr Lot Acres : 0.17

Stories : 1 Living Area : 1,854

Yr Blt / Eff Yr Blt : 2004 / APN : 232-45-079

Customer Name : Kariann Keomaka

Customer Company Name : First American Title Insurance Company

Prepared On : 11/22/2022

© 2022
All rights reserved
CoreLogic.

16439

W CENTURY PLANT DR

Owner Name : Stone Kathleen M Living Trust

Sale Date : 11/02/2020

Distance 0.03 Miles

Subdivision : Sun City Grand Ocotillo

Recording Date : 11/05/2020

Total Value : $228,200 Sale Price  : $319,000

Bed / Bath : / 2 Property Tax : $1,930.68

Land Use : Sfr Lot Acres : 0.16

Stories : 1 Living Area : 1,500

Yr Blt / Eff Yr Blt : 2004 / APN : 232-45-076

16443 W CHUPAROSA LN Distance 0.03 Miles

Owner Name : Beverly Johnny

Subdivision : Sun City Grand Ocotillo

Sale Date : 05/01/2017 Recording Date : 06/01/2017

Total Value : $316,000 Sale Price  : $375,000

Bed / Bath : / 3 Property Tax : $3,325.96

Land Use : Sfr Lot Acres : 0.20

Stories : 1 Living Area : 2,300

Yr Blt / Eff Yr Blt : 2004 / APN : 232-45-129

16455 W CHUPAROSA LN Distance 0.03 Miles

Owner Name : Styslo Rose Marie

Sale Date : 10/16/2009

Subdivision : Sun City Grand Ocotillo

Recording Date : 11/17/2009

Total Value : $279,200 Sale Price  : $300,000

Bed / Bath : / 2 Property Tax : $2,419.60

Land Use : Sfr Lot Acres : 0.20

Stories : 1 Living Area : 1,894

Yr Blt / Eff Yr Blt : 2004 / APN : 232-45-128

Customer Name : Kariann Keomaka

Customer Company Name : First American Title Insurance Company Prepared On : 11/22/2022

© 2022 CoreLogic. All rights reserved

Census Tract / block: 405.24 / 1     Year: 2018

Household

Population Population by Age

Count: 1,403 0 - 11

Estimate Current Year: 1,358 12 - 17

Estimate in 5 Years: 1,190 18 - 24 0%

Growth Last 5 Years: -0.78% 25 - 64 18.89%

Growth Last 10 Years: -50.32% 65 - 74 53.24% 75+

Household Size Household Income

Current Year: 771 0 - $25,000 18.55%

Average Current Year: 1.82 $25,000 - $35,000 7.13%

Estimate in 5 Years: 761 $35,000 - $50,000 14.01%

Growth Last 5 Years: 0.91% $50,000 - $75,000 21.4%

Growth Last 10 Years: 17.39% $75,000 - $100,000 15.3%

Male Population: 47.75% Above $100,000 23.61%

Female Population: 52.25% Average Household Income: $62,863

Married People: 80.97%

Unmarried People: 19.03%

Housing

Median Mortgage Payments Home Values

Under $300: 4.71% Below $100,000: 1.8%

$300 - $799: 53.32% $100,000 - $150,000: 2.63%

$800 - $1,999: 31.72% $150,000 - $200,000: 3.05%

Over $2,000: 10.25% $200,000 - $300,000: 33.8%

Median Home Value: $322,400 $300,000 - $500,000: 46.54%

Unit Occupied Owner: 93.64% Above $500,000: 12.19%

Median Mortgage: $1,014

Customer Name : Kariann Keomaka

Customer Company Name : First American Title Insurance Company Prepared On : 11/22/2022

© 2022 CoreLogic. All rights reserved

Rent Payments Year Built

Unit Occupied Renter: 6.36% 1999 - 2000

Median Gross Rent: $1,847 1995 - 1998

Less Than $499 0% 1990 - 1994

$500 - $749 0% 1980 - 1989 2.6%

$750 - $999 8.16% 1970 - 1979 2.22% $1000 and Over 91.84% 1900 - 1969 0%

Education

Enrollment

Public Pre-Primary School: 0% Not Enrolled in School: 100%

Private Pre-Primary School: 0% Not A High School Graduate: 3.21%

Public School: 0% Graduate Of High School: 20.17% Private School: 0% Attended Some College: 24.31%

Public College: 0% College Graduate: 34.64%

Private College: 0% Graduate Degree: 17.68%

Workforce

Occupation:

Manager/Prof: 53.72% Private Worker: 70.21% Technical: Government Worker: 4.26%

Sales: 19.15% Self Employed Worker: 0%

Administrative: Unpaid Family Worker: 9.04%

Private House Hold: Farming: 2.13%

Service: 17.02% Skilled:

Protective Services: Blue-Collar: 10.11%

Commute Time

Less Than 15 Min: 25.93%

15 min - 28 min: 22.22%

30 min - 57 min: 25.93%

Over 60 min: 25.93%

Customer Name : Kariann Keomaka

Customer Company Name : First American Title Insurance Company Prepared On : 11/22/2022

©
All rights reserved
2022 CoreLogic.

Customer Name : Kariann Keomaka Customer Company Name : First American Title Insurance Company Prepared On : 11/22/2022

All rights reserved
© 2022 CoreLogic.

Customer Name : Kariann Keomaka

Customer Company Name : First American Title Insurance Company Prepared On : 11/22/2022

All rights reserved
© 2022 CoreLogic.

Customer Name : Kariann Keomaka

Customer Company Name : First American Title Insurance Company Prepared On : 11/22/2022 © 2022 CoreLogic.

All rights reserved

SEARCH PARAMETERS

+ FIRST AMERICAN TITLE, FC0, KWAL MARICOPA, AZ 11/22/2022  08:38AM  TCI1  INVESTIGATIVE SEARCH RESULTS PAGE 1 OF 1
COOLING  REFRIGERATION YEAR BUILT  2003 EXTERIOR WALLS  FRAME WOOD NUMBER OF STORIES  1.0 ROOF  OTHER NUMBER OF ROOMS CONSTRUCTION CLASS
NUMBER OF BATH FIXTURES  7 PHYSICAL CONDITION  OTHER PATIO (TYPE AND NUMBER)  UNCOVERED 1 LAND USE  01 31 GARAGE (TYPE AND NUMBER)  GARAGE 2 LOT SIZE  6,991 SQ FT POOL SQ FT SCHOOL DISTRICT  891503 HEATING LAND FULL CASH VALUE  47,700 IMPR FULL CASH VALUE 191,100 SALES SALE DATE SALE AMOUNT INSTRUMENT TYPE SELLER NAME VALIDITY 02/17/2004 162,089    2004 153360 SD DEL WEBB COMMUNITIES INC ADDITIONAL PROPERTY INFORMATION STANDARD LAND USE: SFR END SEARCH
PARCEL:  232-45-086 PARCEL: 232-45-086 5 INSTRUMENT REC DATE OWNER: NORMAN T FOY FAMILY TRUST     2013 1028832 12/03/2013  SITUS: 16450 W CHUPAROSA LN SURPRISE  MAIL: 16450 W CHUPAROSA LN  SURPRISE, AZ 85387  PLAT: 624 -   15 LOT    86 LEGAL: SUN CITY GRAND OCOTILLO MCR 624-15  CURRENT TAXES INFORMATION THROUGH 11/11/2022 LAND IMPR EXEMPT RATE AREA SPECIAL DISTRICTS PRIMARY  21,777  0  0  6.6372  891503  14710 23338 30002  SECONDARY  4,770  19,110  0  3.7237  2022 TOTAL TAX BILLED 1,883.20 2022  TAX AMT TAX DUE INTEREST DATE PAID TOTAL DUE FIRST HALF  941.60  0.00  0.00  09/30/2022  0.00  SECOND HALF  941.60  941.60  0.00  941.60  TOTAL CURRENT TAXES DUE 11/22 941.60 12/22 941.60 (ESTIMATED) RESIDENTIAL IMPROVEMENTS BLDG SQFT  1,427
R3

Turn static files into dynamic content formats.

Create a flipbook
Issuu converts static files into: digital portfolios, online yearbooks, online catalogs, digital photo albums and more. Sign up and create your flipbook.