
CIUDAD DE CONTRASTES cultura 1D

MÉXICO QUEDÓ ELIMINADO EN FASE DE GRUPOS
trofeo 1C
![]()

CIUDAD DE CONTRASTES cultura 1D

trofeo 1C
familias perdieron su patrimonio.
Ante las afectaciones que dejaron las lluvias de la semana pasada en diversos municipios de la zona oriente del Estado de México, los miles de familias damnificadas, autoridades locales, estatales y federales continúan con las labores de limpieza.
A pesar de las intervenciones de las autoridades para retirar lodo y residuos, lo que más resienten las familias es la pérdida de su patrimonio, pues en municipios como Chalco y Cuautitlán el nivel del alguacil alcanzó más de un metro en las viviendas, lo que dejó inservibles muebles, electrodomésticos, ropa y más pertenencias.
Para personas dedicadas al comercio, la anegación también los dejó sin mercancía e instrumentos de trabajo, que representaba su sustento, como el caso de la señora Rosa, de San Blas en Cuautitlán, donde se dañaron 400 viviendas, cuyo caso se difundió en redes sociales, se dedicaba a la venta de elotes y esquines, cuya materia prima e insumos se perdieron.
En Chalco labores entre 6080% de limpieza
En Chalco, el ayuntamiento informó que las labores de limpieza llevan un avance entre el 60 y 80 por ciento en las distintas colonias y unidades habitacionales afectadas, en donde los hogares de 600 familias fueron

Atención sanitaria
La Secretaría de Salud estatal informó que, realiza acciones de saneamiento básico, medicina preventiva y consulta de primer nivel; además, entrega material de limpieza como escobas, palas, mechudos y jaladores. Para prevenir enfermedades, aplica vacunas contra el tétanos y la difteria, hepatitis y de neumococo; también entrega miconazol en crema, Vida Suero Oral, cubrebocas, gel antibacterial, entre otros. Asimismo, ha colaborado con 17 brigadas médicas en las unidades habitacionales San Martín Cuautlalpan, Pueblo Nuevo, Villas Chalco 3 y Villas de San Martín.
invadidas por el agua y lodo. Uno de los afectados fue un señor de 70 años, Don Agustín, cuyo testimonio se difundió en redes sociales, “se echó a perder todo, la recámara, refrigerador y estufa; la verdad se siente del son tantos años de trabajar, ahorrar y hacerse uno de sus cosas, acababa de comprar mi refrigerador y ya quedó inservible”, dijo. Asimismo, entre lágrimas, Gerardo Sicilia, relató su experiencia del siniestro, el cual, dijo, fue algo que no esperaban y fue difícil reaccionar al momento para tratar de rescatar algo, “se perdió todo lo de la planta baja que es sala, comedor, refrigerador, todas las co-

No hay acuerdos para construcción de ciclovía de Isidro Fabela; sigue análisis TOLUCA — El presidente de la Cámara Nacional de Comercio (CANACO) del Valle de Toluca, Fernando Reyes Muñoz, señaló que aún no hay acuerdos respecto a la construcción de una ciclovía en la avenida Isidro Fabela, en Toluca, además de que dijo, persiste la inconformidad de un sector de comerciantes de la zona. (MÁS INFORMACIÓN PÁGINA 5 A Karina Villanueva)
sas; uno con esfuerzo se viene a vivir aquí, aunque solo son pérdidas materiales Gracias a Dios”, dijo ante cámaras de medios de comunicación.
Solidaridad de la población Las autoridades locales, con apoyo de Protección Civil estatal, instalaron albergues en Cuautitlán y Chalco para que las familias pudieran pernoctar y recibir ropa; en Cuautitlán cerró el sábado; sin embargo, la solidaridad de la población se dejó ver, ya que varias familias acudieron a las zonas afectadas a proporcionar alimentos y ropa.
La gobernadora Delfina Gómez Álvarez, instruyó
instalar comedores comunitarios y albergues, los cuales, precisó comunicación social, hasta la tarde del domingo no habían sido instalados.
Visita gobernadora a damnificados El fin de semana, la mandataria mexiquense acudió a Chalco, donde supervisó la atención a la población, acompañada por Cristóbal Castañeda Camarillo, secretario de Seguridad estatal, informó que, en los municipios de Chalco, Hueypoxtla, Cuautitlán Izcalli, Cuautitlán, y Chimalhuacán se aplicó el Plan DN-III a cargo del Ejército Mexicano.
En su recorrido, Gómez Álvarez escuchó las demandas de los afectados, a quienes les aseguró que su situación será atendida a través de las dependencias de seguridad, salud y bienestar, e indicó que integrantes del Grupo Tláloc de la Comisión del Agua del Estado de México (CAEM) y de la Coordinación General de Protección Civil y Gestión Integral del Riesgo permanecerán en las zonas hasta concluir los trabajos.

Desecha Tribunal Electoral 24 juicios de inconformidad interpuestos por el PAN TOLUCA — El Tribunal Electoral del Estado de México (TEEM) desechó 24 juicios de inconformidad interpuestos por Alfonso Guillermo Bravo Álvarez Malo, representante propietario del Partido Acción Nacional (PAN) ante el Instituto Electoral mexiquense (IEEM). (MÁS INFORMACIÓN PÁGINA 3 A Adriana Carbajal)

ENTREVISTA
CONAFE LLEVA ESPERANZA Y EDUCACIÓN A QUIENES MÁS LO NECESITAN
Combatir el rezago educativo y fomentar un arraigo en las zonas rurales del Estado de México, el Consejo Nacional de Fomento Educativo (Conafe) brinda atención escolar a niñas, niños y adolescentes, hasta los 14 años, de comunidades de difícil acceso, alta y muy alta marginación, con presencia en 121 municipios mexiquenses. (MÁS INFORMACIÓN PÁGINA 3 A Martha González Aguilera/Areli Díaz)

Seguridad y mejora regulatoria, pide IP a autoridades electas del EdoMéx Reportaje
A casi un mes de la elección del 2 de junio, donde los mexiquenses votaron para elegir a presidentes municipales, diputados locales y federales, senadores y presidencia de la República, la Iniciativa Privada (IP) ha externado sus demandas hacia las autoridades electas, entre las que destacan mayor seguridad, mejora regulatoria eficiente, e infraestructura adecuada. (MÁS INFORMACIÓN PÁGINA 4 A KARINA VILLANUEVA)


“La Ley de Aguas deberá replantear los esquemas bajo los cuales se adjudicaron las concesiones de agua, su alcance y el nivel de aprove- chamiento que podrán tener los concesionarios”
CLAUDIA SHEINBAUM, virtual presidenta electa.
El consumo de alcohol en menores de edad en el Estado de México es una preocupación grave que ha alertado autoridades y padres de familia hace ya algunos años.
Aún así, no se han tomado medidas conjuntas para frenar este problema y los intentos no son suficientes. Los centros de atención a las adicciones reportan consumo en chicos cada vez más jóvenes.
Los accidentes automovilísticos en los que hay menores y consumo de alcohol involucrados aumentan y las víctimas fatales se suman. Es momento de hacer un alto en el camino y buscar estrategias conjuntas, en las que participen las familias y las autoridades.

El golpe de realidad de las autoridades estatales frente a la emergencia del inicio de las lluvias estuvo intenso, tanto como las inundaciones.
En algunos municipios el agua alcanzó más de un metro en las viviendas, con lo que la gente lo perdió todo.
En Chalco 600 familias perdieron sus hogares y todo lo que había en ellos, en Cuautitlán, solo en una colonia había 400 viviendas con afectaciones igual de graves. En Chalco, Hueypoxtla, Cuautitlán Izcalli, Cuautitlán, y Chimalhuacán, finalmente el sábado se aplicó el Plan DN-III. Lo cierto es que se tardó en reaccionar el sistema estatal encargado de encarar este tipo de emergencias, tanto como el que debió desazolvar, como cada año. Ahora, esperemos que las lluvias no causen más daños tan graves, pero la perspectiva no es buena, habrá que estar pendientes.
Los ganones
El Estado de México, como el resto del país, ve que con los recortes presupuestales la cosa no está nada fácil, de modo que hay que estirar los recursos para que alcancen para todo. Por lo pronto, los alcaldes ya saben que se acabó lo que se daba y ya no habrá recursos extraordinarios para rescates de finanzas municipales, recibirán lo que les corresponde y punto. Es decir, que cada quien se rasque con sus propias uñas, como debió ser siempre. El caso es que, ante este panorama nada alentador, qué pasará con los municipios. Bueno, pues ahí los que ganan son los cabilderos, entre ellos los legisladores.
Resulta que desde la legislatura ante pasada, cuando al llegar a la curul descubrieron que la austeridad les amarraba las manos y no tuvieron acceso a bonos o apoyos de otro tipo, se volvieron gestores de recursos para estados y municipios, desde luego a cambio del famoso “diezmo”, aunque realmente el porcentaje varía, algo así como que según el sapo es la pedrada. Ahí encontraron la manera de hacer negocio y ahora ya se saben el camino, no solo los que van por su segundo periodo, los otros, seguramente aprenderán.

¿A quién culpa Carballo de que no será diputado federal?
Aunque todavía falta como última instancia la Sala Superior del Tribunal Electoral del Poder Judicial de la Federación, por lo pronto, en un hecho histórico, la Sala Toluca revocó la constancia de mayoría a Luis Alberto Carballo Gutiérrez, diputado federal electo por el Distrito 23 de Lerma, Estado de México. Ordenó que su suplente, José Luis Hernández Pérez, asuma como legislador del Verde Ecologista. Carballo fue declarado inelegible debido a su condición de deudor alimentario moroso, constancia emitida el 5 de junio de 2024 por la Conseje-
ría Jurídica del gobierno del Estado de México.
La exesposa del político, Karina Castillo, expuso el caso, no sólo de la deuda que este hombre tenía con su hija, sino la violencia familiar. El único argumento del político deudor y presunto violentador, ante la decisión de la autoridad electoral y el bombardeo mediático, es que es un asunto que viene de sus adversarios políticos (Arturo Montiel y José Castillo Ambriz, su exsuegro). Karla Cortés, esposa de Montiel y excandidata por el mismo distrito, no sube ni se repite la elección, así que no puede señalarla. Carballo no tiene cómo defender su posición. Habría que ver por qué lo registraron como candidato cuando en ese momento no contaba con la constancia de deudor alimentario, pues ésta fue emitida hasta el 5 de junio. ¿Qué tipo de influencias utilizó para que lo dejaran pasar cuando no cumplió con ese requisito constitucional en tiempo y forma? Alguien en el INE le dio paso, y eso también debe ser investigado. Karina Castillo comenzó con las denuncias porque sabría que Carballo utilizaría el fuero para evitar cumplir con sus obligaciones y quedaría impu-
ne (como sucede con muchos). Incluso se acercó a la presidenta electa Claudia Sheinbaum y a la gobernadora Delfina Gómez para que atendieran su caso. ¿No se ha dado cuenta Carballo de ello? El político era inelegible por donde quiera que se le vea. Hubo corrupción en su proceso de registro como candidato y, por lo menos hasta este momento -porque falta la última instancia- se ha hecho justicia para una esposa, madre y una hija: Un deudor alimentario moroso y posible violentador, no llegará al Congreso de la Unión. Esperemos que en la Sala Superior del TEPJF ratifiquen esta sentencia que está haciendo historia. Muchos, y créanlo, hay muchos, pensarán en cumplir con sus obligaciones para responder a los hijos e hijas, que han abandonado, antes de querer acceder a un puesto de elección popular. Hoy, es el tristemente célebre Luis Carballo Gutiérrez, a quien se le aplicó por primera vez la restricción para deudores alimentarios morososos por sentencia firme. Que no espere mucho de la Sala Superior, pues recuerde que hace varias semanas fijó un precedente jurisprudencial en la materia. Así que… Señores deudores alimentarios morosos, pongan sus barbas a remojar.


Combatir el rezago educativo y fomentar un arraigo en las zonas rurales del Estado de México, el Consejo Nacional de Fomento Educativo (Conafe) brinda atención escolar a niñas, niños y adolescentes, hasta los 14 años, de comunidades de difícil acceso, alta y muy alta marginación, con presencia en 121 municipios mexiquenses.
Berenice Olmos Sánchez, coordinadora Territorial para los Servicios Educativos en el Estado de México (ConafeEdoMéx), explicó que actualmente hay una matrícula de 34 mil 200 alumnos, de los cuales, 13 mil son de educación básica comunitaria y el resto de educación inicial.
Explicó que el esquema de enseñanza - aprendizaje se basa en unidades de aprendizaje que desarrollan con proyectos o desafíos comunitarios como lo maneja actualmente el modelo de la Nueva Escuela Mexicana, y no por materias como habitualmente se conoce.
“Construimos un desafío para que pueda ayudar a trabajar, por ejemplo, sumas y restas, o que pueda ayudar a conocer el medio ambiente o generar un proyecto comunitario como viene en los nuevos Libros de Texto Gratuito, para que ellos puedan construir desde sus propios saberes, lo que le interesa al alumno descubrir y profundizar en esos saberes locales”, dijo.
Educación de calidad
Aseguró que dicho sistema garantiza una educación de calidad, que incluso varios alumnos Conafe son ganadores de la Olimpiada Infantil de Conocimiento en el Estado de México, y el caso más reciente fue el año pasado, en que un estudiante del Consejo obtuvo el primer lugar a nivel estatal.
“Gracias a que desarrolló un proyecto comunitario perfectamente, el nivel de cualquier alumno es de calidad y estos alumnos tienen la suficiente capacidad de pararse enfrente, así como explicarte un proyecto”, dijo.
Problemas nutricionales
Para atender problemas nutricionales también dotan a los estudiantes de desayunos fríos, y
Con los conocimientos desarrollados, los estudiantes a Conafe también adquieren las habilidades para también fungir como tutores, es decir, compartir con su familia
/ ARELI DÍAZ
u otros integrantes de la comunidad los saberes. Asimismo, dijo, entre sus objetivos se encuentra fomentar la aspiración en los menores de continuar sus estudios a otros niveles, por lo que preparan un proyecto possecundaria (preparatoria), “tienen las bases suficientes, lo que nosotros trabajamos es una educación formal, somos un sistema educativo formal, no estamos improvisados, es un modelo que se ha construido por muchos años”, resaltó.
Berenice Olmos, coordinadora Territorial para los Servicios Educativos en el Estado de México (ConafeEdoMéx), explicó que actualmente hay una matrícula de 34 mil 200 alumnos.
munitarios es que los alumnos logren este arraigo a través de la consolidación de los conocimientos y saberes locales; además, trabajamos la confianza y el diálogo familiar”, dijo.
Labor humanista de maestros comunitarios La coordinadora Berenice Olmos, resaltó que el Conafe se basa en una labor humanista, ya que los maestros comunitarios brindan su servicio de manera voluntaria.
Precisó que, actualmente Conafe Edomex cuenta con

Los educadores rurales que son foráneos, es decir, que no pertenecen a la comunidad en que prestan su servicio social, la comunidad contribuye a proporcionarles hospedaje, así
Arraigo de identidad
Además de enseñar a los niños a leer y escribir, Olmos Sánchez, resaltó que Conafe busca generar un arraigo comunitario ya que se está perdiendo, sobre todo en la región sur del Estado de México, donde la mayoría de los hombres migran gran a Estados Unidos buscando mejores condiciones de vida.
con el apoyo del gobierno estatal proyectan incluir desayunos calientes, en los espacios en que se pueda adaptar la infraestructura necesaria.
“No hay un ingreso, pero tampoco lo hay porque no se les ha enseñado a trabajar la tierra, a generar ganado, y lo que queremos hacer con la generación de proyectos co -
como alimentos; y si el maestro rural es de la comunidad o muy cercano y le es conveniente trasladarse de manera diaria, la comunidad sólo ayuda con algún lonche o una comida.
3 mil 200 maestros, que hacen servicio social en mil 200 espacios de educacion básica, con grupos multigrado y multinivel; así como 2 mil voluntarios de educación inicial.
Los voluntarios, reciben un apoyo económico de 4 mil 200 pesos al mes, peor no perciben prestaciones como aguinaldo, ni seguridad social, “esto es realmente un sistema humanista, porque un joven tiene la voluntad de dar educación, de retribuir al país lo mucho que sabe, sus conocimientos, su pasión y amor, y lo lleva a las comunidades”, dijo.
Edomex único en impulsar la profesionalización Olmos Sánchez resaltó que la entidad mexiquense es la única a nivel nacional que impulsa la profesionalización de los maestros comunitarios, por lo que más del 86 por ciento cuenta con es -
tudios de licenciatura, el 13 por ciento con secundaria, y el resto Preparatoria.
Los voluntarios que decidan continuar con sus estudios reciben un apoyo adicional de mil 200 pesos para cubrir los gastos académicos, dicha iniciativa de profesionalización, dijo, habla del interés por darle una mejor educación a los estudiantes de las zonas de marginación.
Presencia en Circos El Conafe Estado de México también es el único que cuenta con el esquema de atención a niños y adolescentes pertenecientes a familias que laboran en los circos mexicanos, por lo que el maestro comunitario llega a la carpa y se traslada junto con el elenco circense. “Ese voluntario llega con el circo y se va a rodar con ellos, es decir, con los 4 mil 200 pesos que les pagamos llegan a la comunidad y viven con la comunidad”, expresó.
Maestras comunitarias También existe la figura de maestras rurales, que por tener actividad dos horas, dos días a la semana, reciben 2 mil 400 pesos de apoyo mensual, ellas, explicó, forzosamente tienen que ser de la comunidad porque abordan temas más delicados y sensibles donde involucran usos y costumbres, para poder sensibilizar sobre buenas prácticas de crianza entre las familias de la comunidad.
“Muchos están cursando la licenciatura gracias a que Conafe les paga una beca, son apoyos económicos para que sigan estudiando, los que llegan con prepa, los motivamos a que sigan con licenciatura y al terminar los motivamos a que continúen con la maestría, porque mientras más preparados estén. mejor formación le vamos a dar a los niños y niñas” BERENICE OLMOS SÁNCHEZ Coordinadora Territorial para los Servicios Educativos en el Estado de México (Conafe-EdoMéx)
Con dichas dinámicas, indicó, se generan conocimientos entre toda la comunidad, al socializarse los saberes.
“Trabajamos la relación tutora y generamos comunidades de aprendizaje a través de las redes de tutoría que establecemos en las que participan los maestros, papás y alumnos y cuando se forma esa Red de tutoría, todos aprenden un desafío o generan sus propios desafíos”, dijo.
Convocatoria a sumarse como educador comunitario En ese sentido, la coordinadora llamó a la población a sumarse a la convocatoria para usarse como educador comunitario para el próximo ciclo escolar, a pesar de que en los últimos seis años la necesidad de voluntarios se redujo, incluso el año pasado, 5 mil aspirantes se quedaron fuera, por lo que, para éste 2024 buscan menos de 500. Infraestructura carente Asimismo, reconoció que los espacios educativos tienen múltiples carencias de infraestructura, pues muchos son espacios adaptados en la comunidad, algunos improvisados y sin mobiliario adecuado.
Por lo que han recurrido a donaciones por parte del sector privado, quienes se han sumado a mejorar la calidad de la educación en las zonas marginadas, por lo que de igual manera hizo un llamado al sector empresarial a apoyar la labor de la Conafe Edomex.

Olmos Sánchez explicó que el esquema de enseñanza - aprendizaje se basa en unidades de aprendizaje que desarrollan con proyectos o desafíos comunitarios.
“Año tras año nos planteamos una meta para buscar donaciones de mobiliario, nada es suficiente en para las escuelas de Conafe, entonces, adicional a la Escuela es Nuestra, buscamos donadores para que nuestros alumnos tengan una silla, una butaca y puedan recibir una clase lo más digno posible”, dijo.

REPORTAJE
Líderes de diversas Cámaras y Organizaciones empresariales mexiquenses coincidieron en que para que haya un crecimiento económico, atracción de inversiones y generación de empleos, es necesario que existan las condiciones idóneas para trabajar.
KARINA VILLANUEVA
Acasi un mes de la elección del 2 de junio, donde los mexiquenses votaron para elegir a presidentes municipales, diputados locales y federales, senadores y presidencia de la República, la Iniciativa Privada (IP) ha externado sus demandas hacia las autoridades electas, entre las que destacan mayor seguridad, mejora regulatoria eficiente, e infraestructura adecuada. Además de un combate al comercio ambulante, ser consultados para la toma de decisiones en materia económica, y que haya una coordinación estrecha entre los tres niveles de gobierno y la IP.
Un EdoMéx Seguro
A casi 10 meses de la entrada del gobierno estatal, encabezado por Delfina Gómez Álvarez, si bien, las cifras del Secretariado Ejecutivo del Sistema Nacional de Seguridad Pública (SESNSP) refieren que ha habido reducción de la incidencia en algunos delitos, en otros se mantiene prácticamente igual, y en algunos más, la incidencia va al alza. Recientemente se dio el primer cambio en el gabinete estatal, en la Secretaría de Seguridad (SSEM) con la salida de Andrés Andrade Téllez y la llegada de Cristóbal Castañeda Camarillo, remplazo que fue visto con buenos ojos por parte del sector empresarial.
Robo en transporte
El robo en transporte público colectivo, del cual son víctimas principalmente los colaboradores de fábricas y comercios, tuvo un incremento de abril a mayo al pasar de 469 a 508 casos; de los 2 mil 410 ilícitos cometidos de enero a mayo, 2 mil 68 se cometieron con violencia.
Tras la reciente reunión entre el titular de la SSEM e integrantes de la IP, el presidente del Consejo de Cámaras y Asociaciones Empresariales del Estado de México (CONCAEM), Mauricio Massud Martínez, señaló que desde las empresas se reconoce la apertura de la dependencia para generar estrategias conjuntas que impacten tanto en la seguridad de los colaboradores, no solo dentro de las zonas industriales o económicas, sino en los temas de traslado. Lo anterior ya que dijo, hay estadísticas que indican que hasta el 60 por ciento de los colaboradores refieren haber sufrido algún incidente de inseguridad o acoso, justo al dirigirse a su centro de trabajo.
Detalló que entre las propuestas presentadas en la reunión por los miembros de CONCAEM están el retomar los modelos de intercambio de información para establecer medidas preventivas, mapas de calor y fomentar la cultura de la denuncia; asimismo, un modelo de reconocimiento de la labor de los cuerpos policiacos y de seguridad, así como las estrategias que abatan temas de seguridad en temas de traslado de mercancías y posibles casos de extorsión.
Aunado a lo anterior, Massud Martínez consideró que el sector empresarial debe de participar en las Mesas de Coordinación para la Construcción para la Paz, mismas en las que participan las autoridades de seguridad y justicia estatales y federales. En ese sentido señaló que dicha inquietud fue externada a la gobernadora Delfina Gómez, quien dijo, mostró apertura al diálogo.
“A medida que podamos generar una transversalidad y podamos coparticipar en materia de seguridad para volvernos mucho más productivos, reforzando la conectividad de nuestras cámaras al C5, dándole información a la autoridad que le permita generar inteligencia para que puedan dar tiros de precisión y ser más estratégicos en los patrullajes y rondines, creo que podemos lograr mejores resultados”.
Autoridades electas
Abundó que para lograr los objetivos en la materia es necesario que haya coordinación entre los tres órdenes de gobierno, y una estrecha relación con las autoridades municipales, tanto con los alcaldes como con los encargados de Desarrollo Económico y Seguridad Pública, estos últimos al ser los primeros respondientes ante cualquier incidente. Massud Martínez enfatizó que sin seguridad pública no hay reactivación económica, ni crecimiento.
Delitos
Los delitos de robo a transporte de carga o robo a transportista, la extorsión, el robo a comercio, y los robos a bordo del transporte público, son los que más afectan al sector empresarial, señaló la titular de la Secretaría de Desarrollo Económico (SEDECO) del Estado de México, Laura González Hernández. “Uno de los principales motivos que puede llegar a alejar la inversión, aminorarla o frenarla, es el tema de la inseguridad”.
La titular de SEDECO puntualizó que todas las regiones de la entidad registran incidencia delictiva, por lo que es necesaria una estrategia focalizada. Respecto a los sectores, mencionó que uno de los más afectados es el de comercio y servicios.
Comunicación
Por su parte, la Confederación
Patronal de la República Mexicana (Coparmex) señaló su intención de contribuir al desarrollo del país desde la propuesta y la experiencia del sector empresarial. Así como tener una estrecha relación con la presidenta electa, Claudia Sheinbaum Pardo, en primer plano, y por medio de los organismos estatales o metropolitanos, hacer lo propio con las gubernaturas y presidencias municipales.
Extorsión
De marzo a mayo el delito de extorsión se ha mantenido por debajo de los 300 casos cada mes. Enero fue el de mayor incidencia, con 318 delitos.

Incidencia
Las cifras del Secretariado Ejecutivo del Sistema Nacional de Seguridad Pública, refieren que, de enero a mayo del presente año, en el Estado de México se cometieron mil 607 robos a transportista; 2 mil 410 robos en transporte público colectivo; 7 mil 466 robos a negocio; y mil 450 extorsiones.
Robo a transportista
Dicho delito se mantuvo por encima de los 300 casos en abril y mayo, enero fue el mes de mayor incidencia con 344 casos, y el de menor marzo, con 294. De los mil 607 robos, mil 379 se cometieron con violencia.
Robo a negocio
Mayo fue el mes de menor incidencia de este delito, con mil 430 casos, enero fue cuando se cometieron más ilícitos, con mil 585. Del total de robos, en 3 mil 784 se utilizó la violencia para someter a las víctimas.

“Seguiremos abriendo canales de comunicación con el Gobierno federal para dialogar sobre los temas que le interesan a la sociedad, poniendo en todo momento al centro de las decisiones a las personas”. Al igual que otras organizaciones empresariales, la Confederación destacó el hecho histórico de que una mujer ocupe por primera vez la Presidencia de la República “como un logro de la lucha que por muchos años han encabezado las mujeres de este país”. Pasado el proceso electoral, el organismo encabezado por José Medina Mora Icaza, señaló como prioridad lograr la cohesión social y la reconciliación.
Retos y prioridades
La Coparmex identificó entre los retos y prioridades, plasmados en el Acuerdo por un México con Desarrollo Inclusivo que fue firmado y respaldado por candidatos a puestos de elección popular, representantes de organizaciones civiles, académicos y por los presidentes de centros empresariales:
-Seguridad, justicia, paz, educación de calidad, salud para todos y transición hacia energías limpias.
-Necesidad de respetar a las instituciones y al Estado de Derecho para atraer inversiones. -Integrar a los trabajadores informales a la economía formal, ya que son quienes reciben los salarios más bajos y carecen de seguridad social. Dichas demandas, señaló la Confederación, habrán de ponerse sobre la mesa para determinar la competencia de cada orden de Gobierno, y
la forma en que una vez que tomen protesta al cargo, las autoridades electas puedan llevarlas a cabo.
Infraestructura
Otra de las demandas será hacia los presidentes municipales y estará enfocada a la rehabilitación y mantenimiento de los parques y las zonas industriales, toda vez que muchas de ellas no cuentan con las condiciones idóneas. En este sentido, Rogelio Arguelles Madrigal, director general del Parque Industrial Toluca 2000, señaló que proyectos en seguridad, infraestructura, servicio de energía, y vialidades óptimas en los parques y zonas industriales del Estado de México es la apuesta para detonar el crecimiento económico de los mismos. Dijo que el Parque que dirige tiene un modelo de operación que podrían replicar otros parques industriales. Dijo que, a la par del tema de seguridad, mismo que es esencial para que empresarios e inversionistas volteen a ver al Estado de México, la mejora en infraestructura y vialidades es fundamental para lograr resultados económicos positivos como desarrollo y crecimiento.
Mejora Regulatoria
La simplificación de trámites, la digitalización de los mismos, y una mejora regulatoria eficiente han sido peticiones constantes de la IP hacia los gobiernos, especialmente ante los gobiernos municipales. La Cámara Nacional de la Industria Restaurantera y Alimentos Condimentados (CANIRAC) instó a los legisladores a ponderar hacer la ley en la materia más eficiente y que abone a la apertura y operación de unidades económicas, a la inversión y a la generación de empleos. Comercio informal
El presidente de la Cámara Nacional de Comercio (CANACO) del Valle de Toluca, Fernando Reyes Muñoz, instó a las autoridades electas, principalmente, los Ayuntamientos a pugnar por el comercio formal y a aplicar los bandos municipales de manera correcta para sancionar y abatir al comercio ambulante.
Ambos organismos señalaron que el ambulantaje es una competencia desleal para los comercios establecidos que tienen que hacer frente al pago de nóminas, renta, luz, servicios de cable e internet, agua, licencias de funcionamiento, entre otros.
En este mismo sentido se pronunció el Patronato Pro Centro Histórico de Toluca, quien instó especialmente al próximo alcalde de la capital mexiquense a dar continuidad a las acciones implementadas en la materia por el actual presidente municipal.
Es investigado por dos procesos legales en su contra, uno por extorsión y otro por violación.
Diego Eric “N”, quien se desempeñaba como presidente municipal de Tianguistenco, fue vinculado a proceso por el delito de violación, informó la Fiscalía General de Justicia del Estado de México (FGJEM). Dicho delito fue cometido en agravio de una joven de 26 años, empleada del Ayuntamiento de dicho municipio, a quien habría agredido sexualmente en 2023.
La FGJEM detalló que en audiencia celebrada el domingo en los Juzgados de Tenango del Valle, la Autoridad Judicial determinó vincularlo a proceso, con plazo de tres meses para el cierre de investigación complementaria, así como la medida cautelar de prisión preventiva justificada.
El ilícito por el cual Diego Eric “N” fue vinculado a proceso, se registró el 28 de agosto de 2023, en las oficinas de la Presidencia Municipal de Tianguistenco, donde esté individuo había agredido sexualmente a una servidora pública de dicho Ayuntamiento.
La víctima denunció los hechos ante la FGJEM, posteriormente se llevaron a cabo actos de investigación y se solicitó a un juez

librar orden de aprehensión en su contra, mandamiento judicial que fue otorgado y cumplimentado.
La FGJEM señaló que al detenido se le debe considerar inocente hasta que sea dictada una sentencia condenatoria en su contra.
Amparo Cabe recordar que, por ese delito Diego Eric “N” promovió juicio de amparo indirecto en el cual, el 15 de mayo de 2024, le habría sido concedida la suspensión definitiva en contra de la ejecución del mandamiento judicial, no obstante, toda vez que el 20 de junio pasado la justicia federal determinó hacer efectivo el apercibimiento al quejoso, dejó de surtir efectos la suspensión definitiva, por ello fue posible cumplimentarle la orden de aprehensión en reclusión.
Extorsión
Cabe referir que, además del delito de violación, el ex edil se encuentra vinculado a proceso por el delito de extorsión en agravio de un servidor público del Ayuntamiento de Tianguistenco, por lo que enfrenta dos procesos legales. Por dicho ilícito, el 17 de mayo, el Ministerio Público obtuvo de la Autoridad Judicial, orden de aprehensión en contra de Diego Eric “N”, y otras dos personas por extorsión con complementación típica y punibilidad autónoma.
El 22 de mayo, en Tianguistenco, se logró identificar que el probable implicado se encontraba en uno de los inmuebles de su propiedad, ubicado en el Fraccionamiento Jardines de Santiago del mismo municipio. Por ello, se solicitó el mandamiento judicial para la incursión en la propiedad, mismo que fue otorgado y ejecutado la noche del 22 de mayo.
No hay acuerdos para construcción de ciclovía de Isidro Fabela; sigue análisis
El presidente de la Cámara Nacional de Comercio (CANACO) del Valle de Toluca, Fernando Reyes Muñoz, señaló que aún no hay acuerdos respecto a la construcción de una ciclovía en la avenida Isidro Fabela, en Toluca, además de que dijo, persiste la inconformidad de un sector de comerciantes de la zona.
Refirió que, según datos de comerciantes de la zona, el proyecto de la ciclovía afectaría hasta a 850 unidades económicas, e incluso muchas de ellas estarían en riesgo de desaparecer.
El presidente de CANACO reconoció que están en comunicación con el Gobierno del Estado de México, a través de la Secretaría de Movilidad (SEMOV) y los comerciantes que se oponen a dicho proyecto, quienes han sostenido reuniones para analizar las propuestas de esta infraestructura.
“Se trata de apoyar un proyecto que no afecte el comercio, sino que lo provoque. Siempre será una
preocupación el solo riesgo de qué bajen las ventas o de qué no tengan donde estacionarse por el pago de nóminas, no solamente la nómina, la renta del lugar si hay una cantidad importante de temas” dijo. Reyes Muñoz destacó que la posición de la Cámara será la que contraste entre el impacto económico y el tránsito diario de los ciclistas en dicha avenida toluqueña. “Se tiene que analizar quiénes son los beneficiados, en el caso de los ciclistas ¿qué esperamos? ¿Qué porcentaje? y ¿cuál es el impacto negativo, si es que lo hubiera?”. Ante el retraso que ha tenido en el proyecto, y las modificaciones que le han hecho, el líder de la CANACO señaló la necesidad de evaluarlo acorde a las condiciones actuales de movilidad y comercio.
“No es un sí por si, no es un no por no, creo que si se requiere de un análisis profundo y que este tema no se convierta en un tema de capricho”. La conclusión de la ciclovía se estimaba para
el sexenio anterior; sin embargo, desde ese entonces los comerciantes han manifestado estar en contra del proyecto, ello al argumentar la pérdida del carril de baja para los ciclistas, mismo que ellos consideran como estacionamiento, principalmente para sus clientes.
Colectivos ciclistas De acuerdo con colectivos ciclistas en esta vía se registra un aforo promedio de 83 ciclistas por hora observando mayor afluencia de 7 a 9 de la mañana y a partir de las 5 de la tarde.
Según datos de la SEMOV el proyecto de la ciclovía de Isidro Fabela tiene una extensión de 8 kilómetros con 64 intersecciones y un carril confinado de dos metros de ancho por sentido. El carril para ciclistas iniciaría en la zona de La Maquinita, en Isidro Fabela, y finalizaría en la intersección de dicha avenida con Las Torres.

El Tribunal Electoral del Estado de México (TEEM) desechó 24 juicios de inconformidad interpuestos por Alfonso Guillermo Bravo Álvarez Malo, representante propietario del Partido Acción Nacional (PAN) ante el Instituto Electoral mexiquense (IEEM).
Los magistrados coincidieron en que estos juicios debieron promoverlos los representantes del blanquiazul en los consejos distritales, medida legal que se estableció desde 1996.
Es así que el órgano jurisdiccional determinó que todas las demandas de los Juicios de Inconformidad listados para
Desecha Tribunal Electoral 24 juicios de inconformidad interpuestos por el PAN Hay 100 mdp en el presupuesto para atención de desastres y siniestros
Para este año se consideran 100 millones de pesos asignados a la Atención de Desastres y Siniestros Ambientales o Antropogénicos, para atender a la población afectada y a los daños causados a la infraestructura pública estatal por desastres naturales, así como para llevar a cabo acciones de prevención y mitigación del impacto en las finanzas estatales. Dicho fondo prevé recursos para dar cumplimiento a lo dispuesto en el artículo 9 de la Ley de Disciplina Financiera de las Entidades Federativas y los Municipios.
ello, fueran desechados de plano, al haberse actualizado en los mismos, la causal contenida en la fracción III del artículo
426 del Código Electoral del Estado de México, consistente en ser promovidos por quien carezca de personería.
Lo anterior, derivado de la falta de legitimación procesal de la parte actora ante el órgano emisor del acto controvertido, que en su caso se trató de Consejos Distritales.

Datos
Es importante indicar que aún están pendientes algunos otros juicios de inconformidad, pues fueron presentados un total de 33, tras la conclusión del cómputo de las pasada elecciones para renovar las diputaciones locales.
Es importante indicar que estas impugnaciones pretendían echar para atrás el cómputo distrital de la elección de diputados por el principio de mayoría relativa, al igual que su declaración de validez, y expedición de constancias de mayoría en los distritos electorales de Ixtlahuaca, Ecatepec, Tianguistenco, Nezahual-
cóyotl, Toluca, Cuautitlán Izcalli, Lerma, Tenancingo, Tejupilco, Coacalco, Zinacantepec, Valle de Bravo, Chalco, Ixtapaluca, Ojo de Agua, Naucalpan, Zumpango, Atlacomulco. En sesión en magistrado Víctor Óscar Pasquel Fuentes, dio a conocer su desacuerdo con las propuestas de desechamiento. Señaló que el Código Electoral es claro al designar que la representación partidaria en los distintos consejos distritales se requiere para la legitimación procesal. En tanto que el magistrado Raúl Flores Bernal respaldó la propuesta e hizo referencia a la necesidad de representación formalmente registrada para la presentación de medios de impugnación.
Es así que el monto está establecido en el capítulo 6000 “Inversión Pública”, de acuerdo al Paquete Fiscal o bien la Ley de Ingresos Estatal, donde se consideran 100 millones de pesos asignados a la Coordinación General de Protección Civil, para la atención de desastres y siniestros ambientales o antropogénicos. Serán utilizados cuando se presenten contingencias por desastres naturales o antropogénicos, que requieran para su atención inmediata la erogación de recursos adicionales a los autorizados en el presupuesto para el ejercicio fiscal 2024. De ocurrir, el Ejecutivo informará a la Legislatura en
un plazo no mayor a 15 días hábiles, contados a partir de la fecha en que se decidió se adoptara e implementara esta medida.
Millones de pesos
Es importante recordar que dicho fondo se creó en el 2009 y le fueron asignados 75 millones de pesos; en el 2017 se aprobaron más de 200 millones, pero desde el 2019 bajo solo a 100 millones.
Es importante indicar que desde hace varios meses en diputado morenista Isaac

Se
Montoya Márquez presentó un exhorto que fue aprobado por unanimidad para que autoridades estatales y de los 125 ayuntamientos destinen recursos en el ejercicio fiscal 2023 y tomen diversas medidas en materia de protección civil suficientes para prevenir riesgos de desastre en zonas vulnerables de inundaciones, y atiendan
la iniciativa de Alertas Tempranas, toda vez que tan solo en 2021 la temporada de lluvias impactó negativamente a 48 municipios y a más de 29 mil personas. Hace unos meses en legislador Isaac Montoya destacó que la entidad tenía 209 sitios susceptibles de riesgo por desbordamiento de caudales, por lo que era necesario que la Comisión del Agua del Estado de México, la Coordinación General de Protección Civil y Gestión Integral del Riesgo, los 125 Ayuntamientos del estado de México y sus respectivas Coordinaciones Municipales de Protección Civil tomarán medidas al respecto.
La legisladora explicó que comete el delito de acecho quien de manera reiterada siga, vigile o se comunique persistentemente con alguien en contra de su voluntad.
Una de las protestas que están pendientes y que podrían quedar en la lista de espera o bien ser retomadas por la próxima Legislatura, es la presentada por la diputada priista, Isabel Sánchez Holguín, para incluir en el Código Penal del Estado de México el acecho como un delito contra la libertad, seguridad y tranquilidad de las personas y, de esta forma, dar un paso más para brindar certeza, respaldo y seguridad a las niñas, adolescentes y mujeres mexiquenses. A decir de la diputa -

Las penas previstas se incrementarán hasta el doble cuando el delito sea cometido por personal del servicio público.
da es urgente reconocer que el acecho puede ser la puerta a un sinfín de violencias más graves, como el feminicidio, la desaparición y la trata, además, permite que se perpetúen las desigualdades que afectan de manera desproporcionada a las mujeres, atentando contra su libertad, autonomía y desarrollo.
La legisladora explicó que comete el delito de acecho quien de manera reiterada siga, vigile
o se comunique persistentemente con alguien en contra de su voluntad, atentando contra su tranquilidad, libertad, intimidad y seguridad.
Es así que se entenderá como acecho al patrón de conducta repetida y no deseada, acoso no sexual, contacto, vigilancia, seguimiento o cualquier otra conducta dirigida a una persona en específico o a sus familiares, amistades o círculo cercano, que cause que sienta te -
(RANCHERITA.COM.MX)
mor, miedo, angustia o ansiedad.
Además de que, como consecuencia de ello, modifique sus hábitos, costumbres, itinerario, número de teléfono, correo electrónico, perfiles de redes sociales o cambie de lugar de residencia, de trabajo, de escuela, centro religioso o de culto, anotó.
Dicha propuesta contempla que este delito se perseguirá por querella, o de oficio cuando las víctimas sean menores de edad y se impondrán de seis meses a dos años de prisión y de cien a 300 días multa a quien de manera directa o por interpósita persona, aceche o intimide a una persona. En este sentido la diputada Sánchez Holguín dio a conocer que, las penas se agravarán desde una mitad hasta dos tercios cuando se ingrese o aproxime al lugar de residencia de la víctima o de cualquier persona con la que aquella manten -
Ante los señalamientos de productores del Estado de México, principalmente en la zona norte de la entidad, sobre la presunta presencia de avionetas que disipan la formación de nubes para evitar las precipitaciones, la secretaria del Campo, María Eugenia Rojano Valdés, aseguró que están analizando la problemática.

(LAREDMULTIMEDIA.COM)
ese tema. Pero nos falta a nosotros si poder aterrizar y ver cómo los podemos apoyar”, dijo.
Tema controversial Rojano Valdés señaló que se trata de un tema controversial ya que de q eurodólar con los señalamientos e información de los campesinos, las empresas se encargan de esparcir gases y yoduro de plata, con el propósito de ahuyentar las nubes y en consecuencia las lluvias; sin embargo, algunos investigadores especialistas niegan dicha posibilidad.
ga lazos de parentesco o amistad, amenazándoles con provocar algún daño físico o a sus bienes. Lo mismo que cuando se ejerza presión para que la víctima realice alguna acción en contra de su voluntad; cuando se cometa la conducta haciendo uso de cualquier arma u objeto punzocortante, un acto de vandalismo en perjuicio de bienes muebles o inmuebles propiedad de la víctima, de familiares o amistades, o se cometan para el cobro de un adeudo existente o inexistente.
Las consecuencias físicas se ven reflejadas cuando los acechadores insisten y logran el contacto físico, llevando a cabo ataques que afectan la integridad física de las víctimas.
Asimismo, las penas previstas se incrementarán hasta el doble cuando el delito sea cometido por personal del servicio público; provenga de una persona adulta en contra de un menor de edad; o se realice en contra de una mujer embarazada, persona adulta mayor o per -
De acuerdo con los campesinos algunas de las producciones afectadas son maíz, avena, frijol, y otras; en los municipios de Atlacomulco, Temascalcingo, Acambay, Jocotitlán, Ixtlahuaca y Aculco. Analiza SeCampo presunta disipación de lluvias que afecta a
Desde el 2019, los productores del norte de la entidad han denunciado la afectación a los cultivos por la falta de lluvias, que además de las condiciones de sequía incrementan las pérdidas; actos presuntamente realizados por algunas empresas de la región
Las producciones afectadas son maíz, avena, frijol, y otras.
en beneficio de sus propios intereses.
La información de los productores durante los últimos años ha sido conformada en un expediente que ya tiene la dependencia estatal, indicó Rojano Valdés, con el objetivo de encontrar solución a las demandas de los campesinos. “Tenemos información porque efectivamente los productores se han quejado de eso, estamos trabajando revisando, sé que los productores tienen muchos antecedentes, tiene expedientes de cómo han venido trabajando desde hace años
Se reúnen miles de militantes del PVEM en gira de agradecimiento y reforestación
Miles de militantes, simpatizantes y adherentes al Partido Verde Ecologista de México en el Estado de México se han reunido en diferentes puntos de la entidad para participar de la reforestación que impulsan este instituto político y su dirigente estatal, José Alberto Couttolenc Buentello para agradecer por los más de 715 mil votos recibidos en el reciente proceso electoral.
“El motivo de esta gira es para agradecer a los mexiquenses que emitieron su sufragio por el PVEM en las recientes elecciones y no hay mejor manera de hacerlo que regalando vida, plantamos un árbol por cada voto de confianza”, expresó el líder estatal.
“Pepe” Couttolenc recordó que, en congruencia con los principios del partido y aprovechando la temporada de lluvias, se plantarán estos más de 715 mil árboles en el estado porque “es fundamental dejar nuestra huella positiva en los bosques del Estado de México”.
Puntualizó en la importancia de estas accio -
sona con discapacidad, o bien, lo cometan en razón de la identidad de género u orientación sexual de la víctima, entre otros. La diputada del PRI resaltó que las consecuencias del acecho pueden tener impacto en varias esferas como la salud mental y física, así como en lo económico. Las víctimas presentan consecuencias negativas en su salud mental, al desarrollar sentimientos de ansiedad, angustia y miedo, al sentirse amenazadas o intimidadas, por lo que terminan cambiando su estilo de vida, y en muchos casos, cambiando de lugares de residencia, perfiles en redes sociales, teléfono o formas de contacto, además de que pueden aislarse del ámbito público al sentirse vulnerables.
Asimismo, dijo, afecta lo económico y patrimonial cuando los perpetradores dañan los bienes de las víctimas, o cuando éstas se ven en la necesidad de cambiar de casa, de trabajo, de lugar de residencia, cambiar sus aparatos tecnológicos, estilos de vida o hasta de contratar, medidas de seguridad, para recuperar un poco su calma y su seguridad.
campesinos de la atención por parte de las autoridades a la situación, la secretaria indicó que al momento no tienen una fecha para la conclusión de los análisis e investigaciones. Asimismo, indicó que dichos trabajos se realizan de manera transversal, en coordinación con otras dependencias de la administración estatal.
Producciones afectadas
“Ese tema de las avionetas que está entre que sí y que no. Los productores dicen que si mientras, que algunos investigadores dicen que no, entonces debemos tener mucha claridad en ese tema para poder apoyarlos, lo que queremos es tener la mayor certeza posible para tener una opinión y actuar”, comentó.
Ante la exigencia de los

“Pepe”
Transformar el planeta
Finalmente, “Pepe” Couttolenc resaltó que “plantar un árbol representa esperanza, en nuestras manos está el poder de transformar el planeta, revertir el daño y construir un futuro más verde y saludable”.
nes para que los bosques capturen carbono de la
atmósfera y se contribuya a la mitigación del cambio climático, “debemos cuidar la tierra como cuidamos de nosotros mismos”.
Recordó que los árboles, además de embellecer el paisaje, producen oxígeno, purifican el aire, generan suelos fértiles y ríos limpios. Además, dijo, captan agua para los acuíferos, son refugios para la fauna e, incluso, son espacios donde se establecen otras especies.
“Tenemos ya los antecedentes, estamos rescatando el expediente de los mismos productores, en eso
estamos, no hay una fecha exacta, pero estamos trabajando en eso junto con otras Secretarías, para definir cómo se actuará”, dijo.
Manifestaciones En las últimas semanas los productores se han manifestado para exigir una solución y la clausura de las empresas que señalan como las responsables de afectaciones a la producción agrícola, como Bionatur. Una de las movilizaciones se realizó en conjunto con productores de los estados colindantes de Hidalgo y Querétaro, que también son afectados, cerca de 300 predictores se manifestaron en la caseta de cobro Palmillas, en San Juan del Río, Querétaro. La semana pasada cerca de 30 personas bloquearon por más de cuatro horas la carretera Toluca-Atlacomulco, en la desviación a Jilotepec, para reiterar su exigencia al gobierno estatal.
SMSEM fortalece la unidad magisterial con los docentes en formación
Métodos y Perspectivas
El colofón de las actividades llegó con la entrega de reconocimientos a los nóveles docentes que

En 12 sesiones realizadas en diversos puntos de la geografía mexiquense dialogaron con la nueva generación de educadores.
El Sindicato de Maestros al Servicio del Estado de México (SMSEM) realizó una serie de encuentros con docentes en formación, se trata de la reunión anual donde el Secretario General, Marco Aurelio Carbajal Leyva, coincide con quienes cursan el último semestre en las diversas licenciaturas que ofrecen las 36 Escuelas Normales de la entidad, en aras de fortalecer los valores identitarios del gremio magisterial. Durante las sesiones, Carbajal Leyva estuvo acompañado por Raymundo Sánchez Zavala, Director General de Educación Normal, coincidencia que manifiesta la excelente relación y el trabajo colaborativo que tiene el SMSEM con el Gobierno Estatal. La gira recorrió 12 municipios del territorio mexiquense con el único propósito de proporcionar a los futuros educadores un análisis de la génesis y extraordinaria historia de nuestro Normalismo, que a 142 años de fundación nos ha heredado un férreo espíritu sindicalista abrazado a la fraternidad, la solidaridad y la unidad entre hermanos de profesión, vocación y pasión. Asimismo, dichos foros permiten destacar la importancia del activismo gremial que desde 1952 ha luchado por mejores condiciones laborales, económicas, profesionales, de salud y asistencia social de todos los que abrazamos la noble tarea forjadora de pueblos y comunidades. Durante la ronda de preguntas y respuestas, se disipan dudas sobre el ambiente laboral, la gestión sindical, así como la información necesaria para integrarse al Subsistema Educativo Estatal.
completaron el curso "Estrategias, Métodos y Perspectivas para el Fortalecimiento del Perfil Docente", impulsado por la Dirección de Profesionalización Docente del SMSEM.
La síndica del Ayuntamiento y alcaldesa electa, Yoselin Mendoza, dijo que se logró la trans- formación en este municipio.
En la ceremonia cívica por los 204 años de la fundación del municipio de Nicolás Romero, la síndica y presidenta electa, Yoselin Mendoza Ramírez, expresó que, con el apoyo de la ciudadanía y los pueblos originarios, se logró la transformación que refuerza su identidad histórica y la grandeza de su pueblo.
En representación del alcalde, Armando Navarrete López, la edil apuntó que entre los pobladores de Nicolás Romero hay un fuerte sentido de identidad entre sus pobladores que saben de su legado histórico que en la actualidad los colocó en la coordenada de la responsabilidad, y la transformación de su comunidad.
Ante Diana Ayala Albarrán, directora general de Movilidad zona 2 del gobierno estatal y representante personal de la gobernadora, Delfina Gómez Álvarez e integrantes del cabildo, y funcionarios municipales, recordó cuando en 1820 los cuatro

pueblos mayores: Santa María Magdalena Cahuacán, San Francisco Magú, San Miguel Hila y San
Pedro Azcapotzaltongo, formalizaron la constitución del Ayuntamiento de Monte Bajo.
La síndica rememoró que hace 4 años, se leyó el acta que dio origen al municipio y se recuperó el
documento que proclamó la unión de sus pueblos. “Hoy gobierno y ciudadanos nos empeñamos en construir la grandeza de Nicolás Romero, sigamos juntas y juntos armando esperanza”, recalcó.
Geografía y naturaleza
El cronista de la localidad, Gilberto Vargas Arana, afirmó que Nicolás Romero tiene en sus pueblos y ciudad la grandeza obsequiada por su historia, geografía y naturaleza.
La representante de la gobernadora, Diana Ayala, indicó que Nicolás Romero es un municipio compuesto por mujeres y hombres de mucha valía que han sabido enfrentar el embate del crecimiento. La funcionaria dijo que el gobierno de la maestra Delfina Gómez, trabajará codo a codo con Nicolás Romero”.
Tras la entrada en vigor a partir del primero de julio del transbordo gratuito en el Mexibús y Méxicable, la alcaldesa de Tecámac, Rocío Miguel Hernández, agradeció y envió una felicitación a la gobernadora Delfina Gómez Álvarez por esta medida, que beneficiará a miles de personas de escasos recursos, de este y varios municipios más. Como parte de una mejor movilidad y de la modernización del sistema de transporte en la región, Rocío Miguel Hernández expresó su satisfacción por la implementación de esta iniciativa, donde los usua-

rios ya no tendrán que pagar dos o hasta tres pasajes para llegar a su destino, sino que
podrán recorrer largas distancias por una tarifa accesible de nueve pesos.
Transbordes Se precisó que con esta medida los habitantes de Te-
cámac que utilizan la Línea
1 podrán realizar transbordos en ambos sentidos en las estaciones 1° de Mayo, Hospital y Jardines de Morelos hacia la Línea II del Mexibús en Las Américas, facilitando así su desplazamiento desde Ciudad Azteca en Ecatepec hasta Ojo de Agua en Tecámac.
Central de Abasto
Con respecto a la Línea I, los usuarios podrán transbordar en Central de Abasto hacia la Línea IV del Mexibús, que conecta el Metro La Raza-Indios Verdes en la Ciudad de México con la Universidad Mexiquense del Bicentenario en Tecámac.
HUIXQUILUCAN
Ecatepec será incluyente habrá empleo para personas con discapacidad: Azucena Cisneros
Huixquilucan y FGJEM mejoran servicios en agencias del MP para ampliar atención a usuarios ECATEPEC
La Presidenta Municipal electa de Ecatepec Azucena Cisneros informó que su administración será incluyente, ya que dará oportunidades laborales a personas con discapacidad además de garantizar políticas públicas enfocadas en ese sector poblacional.
En el municipio, hay aproximadamente 800 mil personas con algún tipo de discapacidad, y la Alcaldesa electa reconoció en un encuentro con la Asociación de Integración Laboral para las personas con discapacidad Grupo Zazil, que faltó atención a sus necesidades por lo que se han visto obligados a recurrir a pagar ellos mismos sus tratamientos.
“Estaremos incorporando perfiles con diferentes discapacidades al gobierno, tendremos que dar el ejemplo pleno en el tema de la incorporación, vamos a privilegiar a los ecatepenses; ya me comprometí en campaña también con los jóvenes que van a ingresar de universidades, igual que los discapacitados estarán incluidos” dijo la Presidenta Electa. Azucena añadió, que no solamente había que poner atención en el rubro de discapacidad, si no en los de-

más grupos vulnerables y apoyarlos para que los ecatepenses no deban subsistir con la autogestión. En su oportunidad, Nancy Belinda González Vargas, directora de la Asociación que imparte 15 talleres para inclusión laboral, declaró que “las personas con discapacidad
son sujetos de derechos, pero siguen padeciendo desigualdades institucionales y hasta en sus hogares porque las familias están cansadas de los cuidados y muchos padres ya están envejeciendo, además de que prevalece la discriminación en el ámbito educativo”.
“En el tema de la discapacidad hay una gran deuda como no existe con otros sectores, porque se conjugan una serie de factores que afectan todavía más a la pobreza, la falta de oportunidades, el derecho a la cultura, a la recreación, a una educación inclusiva y de respeto a las diferentes discapacidades
El trabajo conjunto que realizaron el Gobierno de Huixquilucan y la Fiscalía General de Justicia del Estado de México (FGJEM) permitieron ampliar el horario que brinda la Agencia del Ministerio Público de Pirules, además de abrir la Agencia Especializada en Delitos de Género en la Cabecera Municipal de esta demarcación, con el objetivo de extender y mejorar los servicios que brinda esta institución y evitar que la población que es víctima de algún delito tenga que trasladarse a municipios vecinos, con lo que se avanza en materia de procuración de justicia, en beneficio de los habitantes. Durante la Décima Quinta Sesión del Consejo Municipal de Seguridad Pública de Huixquilucan, encabezada por la presidenta municipal, Romina Contreras Carrasco, el fiscal regional de Naucalpan, Edson Apolo Dionicio Santos, reconoció que el mejoramiento de estos servicios solo fue posible con el trabajo en conjunto que realizó la FGJEM con el
Gobierno de Huixquilucan, lo que permitió fortalecer la atención a las probables víctimas.
Sesión del Consejo MunicipalDurante esta Sesión del Consejo Municipal de Seguridad Pública, se tomó protesta a la coordinadora regional del Secretariado Ejecutivo del Sistema Estatal de Seguridad Pública, Carmen Rodríguez Durán, y a la delegada de San Fernando, Lizbeth Cecilia Parra Chaparro, como consejeras de este órgano colegiado.
“Observando todos los logros que hay en Huixquilucan, en conjunto con la Fiscalía General de Justicia del Estado de México, siempre van de la mano y hacer saber a la gente de Huixquilucan que, en un gran municipio, también
Además, los usuarios podrán realizar conexiones en Matamoros y Monumento a la Familia, del Corredor Eléctrico, que viaja a través de la Autopista Urbana Siervo de la Nación hacia Río de los Remedios, en la Ciudad de México. La Alcaldesa subrayó que esta medida representa un alivio significativo para los bolsillos de los mexiquenses, quienes podrán recorrer largas distancias por una tarifa accesible, reconociendo así la preocupación de la gobernadora por reducir los costos del transporte en el Estado de México, uno de los más elevados a nivel nacional.
hay grandes servicios y esos servicios que también se brindan a través de la Fiscalía, derivado de las gestiones, se buscó la mejora de los servicios, todas éstas de la mano del Gobierno de Huixquilucan. Estos son servicios necesarios y la buena mancuerna que se ha tenido entre la presidenta municipal y la Fiscalía, es que se logran estos resultados”, dijo. Explicó que, a través del apoyo que brindó el gobierno municipal para mejorar las instalaciones, se pudieron establecer tres turnos de trabajo en la agencia localizada en la colonia Pirules, lo que permite brindar un servicio continuo de 24 horas los 365 días de la semana, mientras que en la agencia ubicada en la Cabecera Municipal, se instaló la Agencia Especializada en Delitos de Género, con un horario de atención de 09:00 a 18:00 horas, de lunes a domingo, con lo que se brinda un mejor servicio a las usuarias y evitará que se tengan que trasladar hasta Naucalpan para ser certificadas.


Tony refuerzaRodríguez su compromiso por mantener a Tlalnepantla como un municipio de importancia estatal
En intensa gira de trabajo el presidente municipal de Tlalnepantla, Marco Antonio Rodríguez Hurtado, entregó 22 calles, con lo que suma 1 millón de metros cuadrados de superficie pavimentada, en su gestión, con lo cual cumple
CHIMALHUACÁN
el compromiso que tiene con la ciudadanía.
Repavimentaciones
Rodríguez Hurtado comentó que las repavimentaciones son obras de larga vida. La inversión hecha por el Ayuntamiento fue de 700 mil pesos.
Con este trabajo, el edil refuerza su compromiso por mantener el lugar que tiene Tlalnepantla, como uno de los municipios más importantes en el Estado de México, pues en 2.5 años de gobierno muestra una mejora significativa en
imagen urbana de calles y avenidas principales. "Estos trabajos significan dar vialidad, imagen, movilidad y esencia a nuestras comunidades. Rescatar las calles que ya no tienen manera de que con un venir a bachear se vean bien, sino por el contrario, se ven muy indignas y nuestro objetivo es mejorarlas", afirmó el alcalde.
Se entregaron diez calles pavimentadas con mezcla asfáltica en la colonia La Loma Tlalnemex. También se repavimentó la avenida Presidente Juárez y la continuación de Adolfo López Mateos con Mario Colín.
El Gobierno de Chimalhuacán realizó la entrega de apoyos a las familias más perjudicadas por las fuertes lluvias registradas el pasado 26 de junio, donde en algunas viviendas el agua alcanzó hasta los 30 centímetros al interior.
El Sistema Municipal para el Desarrollo Integral de la Familia y la Dirección de Bienestar, entregaron decenas de apoyos a las familias que sufrieron algún daño en sus viviendas, tal fue el caso de la entrega de canastas alimentarias, cobijas, así como productos de limpieza.
A través del Comité Municipal de Emergencias, integrado direcciones de Protección Civil y Bomberos, Seguridad Ciudadana y Tránsito Municipal,
Obras Públicas, Desarrollo Urbano, Servicios Públicos, Salud y Comunicación Social, así como el Organismo Descentralizado de Agua Potable, Alcantarillado y Saneamiento (ODAPAS), continúa con las jornadas de limpieza en las vialidades más afectadas.
Apoyo
Con el apoyo de 5 retroexcavadoras, 13 camiones de volteo, 5 camiones vactor y 7 camiones cisterna (pipas), fueron liberadas las calles y avenidas, mientras que, en algunas viviendas con cubetas, palas y carretillas, las familias y personal del ayuntamiento retiraron los escombros.
Durante los últimos días, se informó que personal del Ayuntamiento recogió más de 220 camiones de lodo, tierra y escombros de avenidas por donde corrió gran flujo de estos desechos. Los puntos más críticos fueron barrio San Agustín Atlapulco, San Lorenzo, San Juan Xochitenco y Cabecera Municipal. Cabe destacar que el gobierno municipal, desplegó un operativo con 500 servidores públicos para apoyar en las labores de limpieza. “Estoy comprometida a seguir gestionando recursos y apoyos necesarios para que Chimalhuacán se recupere lo más pronto posible y prevenir futuros desastres de esta magnitud”. sostuvo la presidenta de Chimalhuacán, Xóchitl Flores Jiménez.

Desgajamiento de rocas en la zona de El Tenayo no deja
El gobierno de Tlalnepantla informó que no se reportaron lesionados por el desgajamiento de cinco rocas que cayeron sobre el patio de una vivienda ubicada en la calle Cerezos 35, colonia Arboleda Tenayuca.
El desprendimiento de rocas de 3 y 5 toneladas, ocurrió la noche del sábado, adonde acudieron elementos de Protección Civil, Seguridad Pública y el Organismo de Agua (OPDM) Tlalnepantla, quienes realizaron una inspección y apoyaron a la familia.
La mañana del domingo, expertos en demolición de rocas comenzaron a trabajar para fragmentar las rocas y con ese material, construir un muro de amortiguamiento para estabilizar la zona y salvaguardar la integridad de los habitantes del predio.
Las rocas se desgajaron de una altura aproximada de 25 metros y se precipitaron hasta el patio de una vivienda de carácter irregular, dañando únicamente

un lavadero y un tinaco de almacenaje de agua.
El alcalde, Marco Antonio Rodríguez Hurtado, precisó que se brindará todo el apoyo institucional a los moradores de la vivienda. Personal de OPDM repondrá el tinaco de agua y trabajará en dos drenajes qué también fueron dañados por
el deslizamiento de las piedras.
Cabe hacer mención qué la vivienda se encuentra construida de manera irregular en una zona de alto riesgo.
Protección Civil recordó que pues está prohibido asentarse en laderas, barrancas y escurrimientos naturales de agua.
Bomberos controlan incendio en Secretaria del Ayuntamiento de Naucalpan
La madrugada del sábado, se registró un incendio en el palacio municipal de Naucalpan, el cual fue controlado por Protección Civil y Bomberos, sin que se registraran personas lesionadas, solo daños materiales menores.
Moisés Minquini Matilde, titular de la dependencia, informó que a las 4:24 horas el Centro de Control, Comando, Comunicaciones y Cómputo (C4) de Naucalpan reportó un incendio al interior del inmueble, por lo que personal de la corporación acudió al lugar.
Seis bomberos apoyados con dos autobombas ingresaron al inmueble, y apagaron el fuego que se originó en las oficinas de la Secre-

taría del Ayuntamiento, localizadas en el primer piso. Los apaga fuegos, detectaron que el incendio provenía del tablero de control de energía eléctrica que se encuentra en el interior de la Secretaría, que afectó parte del mobiliario de esa oficina, en tanto que, en la oficina de la Presidencia Municipal, que se ubica a un costado, sólo ingresó humo. El personal de Protección Civil y Bomberos controló el siniestro en su totalidad en aproximadamente una hora con 20 minutos, procediendo a hacer la ventilación del lugar. Hasta el momento no se han detectado daños estructurales.
En la emergencia por las lluvias la Gobernadora Delfina Gómez acude a Chalco
La Gobernadora del Estado de México Delfina Gómez Álvarez, acudió al municipio de Chalco para recorrer las zonas afectadas por las lluvias y supervisar los trabajos de limpieza evaluar los daños, así como buscar alternativas de solución para apoyar a las familias; asimismo instruyó la habilitación de un comedor comunitario y un albergue temporal en apoyo a los afectados.
La Mandataria Estatal informo que se desplegaron 50 elementos de la Secretaría de la Defensa Nacional (Sedena) y 150 integrantes de la Policía estatal, para atender la contingencia en San Martín Cuautlalpan, las unidades habitaciones de Pueblo Nuevo y Los Héroes I, donde implementaron labores de limpieza del área y apoyar a las familias mexiquenses afectadas. En su recorrido por la zona, la Maestra Delfina Gómez Álvarez escuchó a las y los mexiquenses que tuvieron afectaciones en

sus hogares, a quienes les informó que el Gobierno del Estado de México atenderá su situación mediante las dependencias de seguridad, salud y bienestar, porque éste es un gobierno cercano a la población ante cualquier contingencia.
Agradecimiento
El Presidente Municipal de Chalco Miguel Gutiérrez Morales, agradeció su presencia, el humanismo de la Gobernadora y que no ha dejado solo al pueblo ya que Con su ayuda, saldrán adelante de las inclemencias de la naturaleza.
Acompañada por el Maestro Cristóbal Castañeda Camarillo, Secretario de Seguridad estatal, la Gobernadora informó que además en los municipios de Hueypoxtla, Cuautitlán Izcalli, Cuautitlán, Chalco y Chimalhuacán, se implementó el Plan DN-III a cargo del Ejército Mexicano. Además, destaco que el Gobierno del Estado, mantiene una estrecha coordinación con los tres órdenes de gobierno, por lo que la Secretaría de Bienestar estatal iniciará el censo de afectaciones en conjunto con el Ejército mexicano que mantiene el operativo DNIII.
Arturo Leonardo Calderas, quien informó que se tiene contemplado el arreglo del adoquín de la calle Chiapas y el desazolve de alcantarillas
Habitantes de las colonias República Mexicana y Ejidal, pidieron durante la Décima Primera Sesión de Cabildo Abierto, mejoras para sus comunidades, al presidente municipal de Coacalco por Ministerio de Ley, Arturo Leonardo Calderas Espinoza, quien informó que se tiene contemplado el arreglo del adoquín de la calle Chiapas y el desazolve de alcantarillas como parte de acciones preventivas contra inundaciones.
Luego de escuchar las peticiones de bacheo de calles, luminarias y el desazolve de alcantarillas, así como el alumbrado públi-

co y la rehabilitación de los sanitarios en el campo de fútbol de Ejidal, el Alcalde se comprometió a analizar los puntos donde es prioritario cambiar y arreglar las luminarias, además de llevar a cabo un estudio para evaluar la posibilidad de mejorar los sanitarios de la cancha.
Modificaciones al reglamento de justicia Previo a la sesión de cabildo abierto, los ediles celebraron la Centésima Décima Cuarta Sesión Ordinaria de Cabildo, donde aprobaron modificaciones al Reglamento de Justicia Cívica del Municipio de Coacalco y los nuevos formatos para el Juzga-





do Cívico. Arturo Leonardo Calderas explicó que estas modificaciones facilitan la transición al Modelo Homologado de Justicia Cívica, destinado a mejorar la convivencia comunitaria y prevenir conflictos.
Al finalizar las sesiones, Calderas Espinoza agradeció el apoyo recibido durante su gestión e informó que su periodo como presidente municipal por Ministerio de Ley concluye el 30 de junio y a partir de este lunes primero de julio, David Sánchez Isidoro retomará sus actividades como presidente municipal de Coacalco.
HUEYPOXTLA
Concluida la remoción de escombros en comunidades afectadas de
Tras tres días de labores constantes de remoción de escombros, en las zonas afectadas por la inundación provocada en el desbordamiento del Río Salado, Diego Vargas Colín, presidente municipal, de Hueypoxtla, informó que este domingo se concluirán los trabajos de limpieza en domicilios afectados y la remoción de los escombros. Con tres retroexcavadoras del Ayuntamiento, una del Comisariado Ejidal, un camión de presión succión, tres volteos, dos pipa, una más del municipio de Apaxco, retroexcavadora, camión de succión de Zumpango y maquinaria de algunos proveedores, la asistencia de 100 trabajadores del Ayuntamiento, entre ellos personal de oficina, elementos de Ejército, Guardia Nacional y voluntarios que se congregaron para ayudar a la población, en una noche larga hasta el




amanecer; para el medio día del viernes la corriente era mínima.
Ponen en alerta a Ajoloapan Tezontlalpan y La Gloria Los hechos se suscitaron el pasado jueves en las comunidades de Santa María Ajoloapan, Tezontlalpan y La Gloria, al declararse zona de alerta por la presencia de una lluvia torrencial que generó rápidamente una corriente elevada que sobrepasaba
el puente de Ajoloapan, el agua proveniente del cerro del Picacho y de las comunidades contiguas, saturaron la capacidad del Río que atraviesa el municipio.
Corriente alcanzo los 4 metros de tirante Fue la fuerza de la barrancada la que desvaneció los bordos, alcanzando un tirante de cuatro metros, según el Coordinador municipal de Protección Civil y Bomberos de Hueypoxtla.




mil personas participaron en la Marcha del Orgullo LGBTTTIQ+ entre integrantes de comités, colectivos, activistas y población en general

Beryl se convirtió en una "muy peligrosa" tormenta categoría 4, con vientos de más de 180 km/h sobre las Antillas
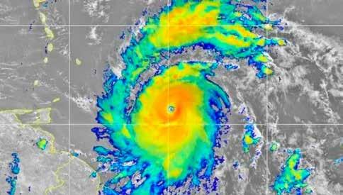
Beryl, el primer huracán de la temporada atlántica de 2024, se convirtió por la mañana en una "muy peligrosa" tormenta categoría 4, con vientos de más de 180 km/h sobre las Antillas, informó el Centro Nacional de Huracanes de Estados Unidos (NHC), que alertó de vientos potencialmente mortales en algunas islas.
Con "vientos que amenazan la vida", Beryl es "ahora un muy peligroso huracán de categoría 4", dijo el centro en su último boletín, al tiempo que detalló que "se esperan marejadas ciclónicas en las islas de Barlovento a partir del lunes por la mañana".
La tormenta, que se mueve a unos 675 kilómetros al este de Barbados,
en el Océano Atlántico, se convertirá en un "huracán extremadamente peligroso de categoría 4" al llegar a las comunidades caribeñas, según el NHC.
Tormenta poderosa
Según expertos, una tormenta tan poderosa al inicio de la temporada de huracanes, que va desde principios de junio hasta finales de noviembre en el Atlántico, es extremadamente rara.
Barbados, Santa Lucía, San Vicente y las Granadinas, Granada y Tobago están bajo alerta de huracán, mientras que sobre Martinica y Dominica rige una advertencia por tormenta tropical, detalló el centro. En Bridgetown, la capital de Barbados, autos hacían fila en las gasolineras, mientras que los supermercados y tiendas
de comestibles estaban abarrotados de compradores de alimentos, agua y otras provisiones.
Un huracán mayor se considera de categoría 3 o superior en la escala Saffir-Simpson con vientos de al menos 179 km por hora. Una tormenta de categoría 4 tiene vientos sostenidos de al menos 209 km por hora. "Sólo se han registrado cinco huracanes importantes (Categoría 3+) en el Atlántico antes de la primera semana de julio. Beryl sería el sexto y el de más pronta aparición en este extremo del Atlántico tropical", escribió en X el experto en huracanes Michael Lowry.
Olas de 5 metros "Es muy probable que el estado del mar esté muy agitado a partir del domingo por la tarde, y especialmente durante el lunes", anticiparon por su parte los servicios meteorológicos del Estado francés en Martinica.
CIUDAD DE MÉXICO
A la edición XLVI de la Marcha del Orgullo LGBTTTIQ+ en Ciudad de México celebrada este 29 de junio, asistieron 260,000 personas entre integrantes de comités, colectivos, activistas y población en general, de acuerdo con información de las Secretarías de Gobierno (SECGOB) y de Seguridad Ciudadana (SSC). Asimismo, ambas Secretarías indicaron que la manifestación se realizó de forma pacífica y concluyó con saldo blanco, además de que garantizaron el derecho a la libre manifestación y a la seguridad de los asistentes.
En la ruta de la marcha, que partió desde la Glorieta del Ángel de la Independencia rumbo al Zócalo capitalino, fue desplegado un operativo en donde colaboraron 2,000 servidores públicos de 23 dependencias locales. De acuerdo con un comunicado, el personal desplegado en diferentes puntos del recorrido brindó “apoyo en materia de protección civil, salud, orientación, entre otros”, a la vez que 2,000 policías capitalinos dieron acompañamiento durante la movilización.
El Gobierno de la Ciudad de México reafirmó su compromiso para "garantizar las condiciones para que todas, todos y todes puedan ejercer sus derechos plenamente, con dignidad y sin discriminación”.
“Igualmente indicaron que “la SECGOB dispuso de personal de Concertación Política y de la Brigada
de Diálogo y Convivencia, apoyados por la Instancia Ejecutora del Sistema Integral de Derechos Humanos (IESIDH) y la Comisión de Derechos Humanos de la Ciudad de México (CDHCM), a fin de mediar y privilegiar la conciliación ante posibles conflictos”.
Mientras, personal del Escuadrón de Rescate y Urgencia Médicas (ERUM) atendió a tres personas por fractura en rodilla y tobillo, que se trasladaron a hospitales para que recibieran atención médica.

El huracán Beryl alcanzó la categoría 4 en la escala Saffir-Simpson, según el último informe del Centro Nacional de Huracanes (NHC) y la Comisión Nacional del Agua (Conagua).
Según las autoridades, durante la mañana de este domingo, 30 de junio, el fenómeno natural se ubicaba a 565 km al este-sureste de Barbados y aproximadamente a 3,590 km al este-sureste de Cancún.
Entre sus características es que presentaba vientos máximos sostenidos de 215 km/h, con rachas de hasta 260 km/h y un desplazamiento hacia el oeste a 33 km/h.
El presidente de México, Andrés Manuel López Obrador, informó a medios de comunicación que las autoridades de Protección Civil, Secretaría de la Defensa Nacional y de Marina estarían vigilantes al fenómeno natural.
"Estamos pendientes observando la trayectoria que, de acuerdo a
los pronósticos, entraría (en México) hasta jueves o viernes; si es que no se desvía la dirección que trae", comentó el jefe del Ejecutivo.
El gobernador de Yucatán, Mauricio Vila, informó que los efectos del huracán se harían presentes, en la entidad, a partir del próximo 4 de julio, por lo que llamó a los ciudadanos a tomar las precauciones pertinentes y mantenerse informado a través de
Mientras que, el Servicio Meteorológico Nacional indicó que se prevén lluvias, de intensas a torrenciales, en estados del noreste, oriente y sureste de la República mexicana; así como lluvias de fuertes a muy fuertes en el centro y sur del país, además de la península de Yucatán.
canales oficiales donde se darán a conocer los avances de Beryl.

















misiles balísticos fueron lanzados hacia el mar al oriente de las costas, indicó Seúl.
COREA DEL NORTE
Los disparos ocurrieron dos días después de que Corea del Sur, Estados Unidos y Japón concluyeron sus nuevos ejercicios militares trilaterales.
Corea del Norte lanzó dos misiles balísticos hacia el mar al oriente de sus costas, indicó Seúl.
El Estado Mayor Conjunto surcoreano dijo en un
comunicado que el lanzamiento se llevó a cabo el lunes por la mañana, pero no proporcionó más detalles. Un misil balístico de corto alcance fue lanzado a primera hora de lunes y unos diez minutos después

Soberanía y seguridad
El Ministerio de Asuntos Exteriores de Corea del Norte dijo que "defenderá firmemente la soberanía, la seguridad y los intereses del Estado y la paz en la región mediante contramedidas ofensivas y abrumadoras".
fue lanzado el segundo, no identificado, según el Estado Mayor Conjunto (EMC) surcoreano.
"Nuestras fuerzas armadas fortalecieron su vigilancia y preparación ante posibles nuevos lanzamientos", indicó el EMC. Agregó que compartió información del

incidente con Estados Unidos y Japón. La agencia oficial norcoreana KCNA no confirmó por ahora los disparos. Los disparos ocurrieron dos días después de que Corea del Sur, Estados Unidos y Japón concluyeron sus nuevos ejercicios militares trilaterales, que Pyongyang considera una provocación. El del lunes fue el primer lanzamiento de armas del Norte en cinco días. El pasado miércoles, Corea del Norte lanzó lo que denominó un misil con varias cabezas en el primer lanzamiento conocido de un arma avanzada en desarrollo destinada a derrotar las defensas antimisiles de Estados Unidos y Corea del Sur.
ESTAMBUL
Once detenidos en la marcha del Orgullo LGBTQ+ en Estambul
La policía turca detuvo a 11 personas que participaron en la marcha del Orgullo LGBTQ+ en Estambul, que reunió brevemente a cientos de personas que desafiaron la prohibición decretada por las autoridades. Con banderas arcoíris y consignas, los manifestantes lograron marchar unos diez minutos por la avenida Bagdad, una de las arterias más famosas de la ciudad, antes de dispersarse para tratar de escapar de las fuerzas de seguridad. Once manifestantes fueron detenidos por violar la prohibición emitida por las autoridades, indicaron el domingo por la noche los organizadores de la marcha en la red social X. Dos periodistas de AFP fueron testigos de varias de las detenciones. Las autoridades prohibieron el evento, como cada año desde 2015, ya que afirman que la convocatoria proviene de "grupos ilegales".
En la otra parte de Estambul, la gran plaza Taksim, un lugar donde tradicionalmente se celebraban las protestas, estaba acordonada y numerosos policías filtraban los accesos a la gran avenida peatonal Istiklal, constató otro periodista de AFP. Varias estaciones de metro cercanas también fueron cerradas. La homosexualidad no está tipificada como un delito en Turquía, pero la homofobia es habitual y el presidente Recep Tayyip Erdogan califica con frecuencia a la comunidad LGBTQ+ de "perversos" y afirma que son una amenaza a la familia tradicional.

1 de julio de

Las medallas olímpicas de Paris 2024 contaran con un diseño inspirado en el icónico movimiento artístico francés Art Déco y refleja una cuidadosa combinación de tradición y modernidad, creando medallas que no son solo premios sino también obras de arte.
El Tricolor dio un buen partido ante Ecuador, pero no les alcanzó para poder avanzar a los Cuartos de Final.
La Selección Nacional de México volvió a fracasar con Jaime Lozano, primero fue en Concacaf en Nations League y ahora en la Copa América 2024 al quedar eliminados en la Fase de Grupos tras empatar sin goles con Ecuador en Phoenix, Arizona, y es que tenían que ganar para seguir con vida en el torneo.
El Tricolor mejoró muchísimo en cuanto a sistema y personalidad, incluso en el segundo tiempo Lozano se animó a jugar hasta con dos centros delanteros, pero ni así le alcanzó para poder ganar un juego que era vital para su proceso. México fue sólido en defensa, Johan Vásquez se convirtió en un líder del equipo sin portar el gafete de capitán tratando de animar a sus compañeros a conseguir el resultado. En el primer tiempo le faltó llegada a México,

Ecuador le cedió toda la responsabilidad de la posesión, pero atrás se encerró bastante bien entendiendo que el obligado era México porque el empate a ellos les servía para avanzar. La mejor cara del Tricolor llegó en el segundo
tiempo, Chino Huerta se convirtió en el principal armador de juego ofensivo, pero este equipo no tiene gol, y ese fue su pecado en el torneo.
La Selección Mexicana intentó por todos los medios hacer el gol que los

tar de hacer algo, pero ni él ni Santi Giménez tuvieron jugadas de peligro. Al final Ecuador hizo lo suyo, hizo tiempo para desesperar a los mexicanos y lo consiguieron tanto en la cancha como en la tribuna porque en los últimos minutos apareció el grito homofóbico. En la última jugada hubo una última ilusión para México, pero el VAR le negó la posibilidad al quitarle un penal que había señalado erróneamente al Memote y así se acabó una historia que fue pesadilla para México. -MT
El Club América sigue demostrando que es el mejor equipo de la actualidad en el futbol mexicano al imponerse 2-1 a Tigres en el juego que se llevó a cabo en Los Ángeles, California, y en el que se disputó por primera vez el trofeo de la Supercopa de la Liga MX. Javairo Dilrosun (minuto 24) y Henry Martín (minuto 35) fueron los autores de los dos goles con los que las Águilas de André Jardine lograron darle la vuelta al marcador del Dignity Health Sports Parkel, el cual fue inaugurado por Juan Brunetta (minuto 7).
El debut oficial de Veljko Paunovic como entrenador de Tigres no fue el

deseado, pues pese a que el equipo felino se mostró mejor en los primeros minutos del encuentro e incluso se fueron adelante en el marcador, los universitarios no pudieron mantener el resultado y terminaron siendo supe-
rados por el Bicampeón del futbol mexicano. El marcador del recinto deportivo de California fue inaugurado al minuto 7 luego de una gran triangulación entre Quiñones, Gignac y Gorriarán, jugada que no desaprovechó el
clasificara, pero cuando un equipo simplemente no tiene suerte o la puntería fina es complicado que puedan hacer algo.
La desesperación llevó a Jaime Lozano a jugar con dos delanteros metiendo a Memote Martínez para tra-



sudamericano al mandar el balón al fondo de la portería azulcrema que era protegida por Rodolfo Cota.
La reacción de las Águilas no tardó en llegar y al 24 Javairo Dilrosun puso el 1-1 tras aprovechar de for-
ma perfecta la asistencia que le puso Henry Martín y sacar un buen remate con la pierna izquierda. Diez minutos antes de que concluyera el partido apareció Henry Martín para darle la vuelta al marcador tras empujar el balón que dejó Alejandro Zendejas en el área de Tigres. El segundo tiempo fue de puro trámite para América, pues pese a que ambas escuadras movieron sus piezas, el conjunto de la UANL ya no pudo reaccionar y terminó dejando escapar el anhelado título, mismo que sumó a sus vitrinas el conjunto de Coapa.
Los rojiblancos impondría a uno de sus jugadores en el Tricolor para la Copa del Mundo de Sudáfrica.
Después de 14 años ha trascendido que fue desde las oficinas de Chivas donde sucedió; en específico en la Copa del Mundo de Sudáfrica 2010.
Héctor Huerta reveló que Jorge Vergara, otrora dueño de Chivas, impuso a uno de sus jugadores a la Selección Mexicana, quien acudió a la Copa del Mundo de Sudáfrica 2010, pese a lo criticado que fue su llamado. La información sobre la imposición de jugadores en la Selección Mexicana surgió en medio del debate sobre la ausencia de Henry Martín en la Copa América 2024 y como pese a ser el goleador del América fue relegado.
Emilio Azcárraga criticó a Jaime Lozano por la no convocatoria a Henry

Martín, por lo que cesó el mito, al menos con la situación de ‘La Bomba’, de que en Club América imponen jugadores. De acuerdo a información de Héctor Huerta, el llamado de Adolfo Bofo Bautista a la Selección Mexicana en la Copa del Mundo de Sudáfrica 2010 fue una imposición de Jorge Vergara, otrora dueño de Chivas.
Bofo Bautista fue titular en el duelo de octavos de final ante Argentina. El entonces jugador de Chivas apenas tocó el balón y la Albiceleste ganó sin complicaciones.
“Jorge Vergara impuso al Bofo Bautista para Sudáfrica 2010, pero lo firmo. El dueño de Chivas quería que el Bofo Bautista fuera al Mundial y se lo comentó a mucha gente”, señaló Huerta en el programa Futbol Picante. Javier Aguirre habría aceptado la imposición que llegó desde Chivas y convocó al Bofo Bautista a pesar de todas las críticas que generó su convocatoria.

Los Pumas de la UNAM lograron imponerse con autoridad a los Rayados de Monterrey tras ganar por 4-2, esto a escasos días de su debut en el torneo Apertura 2024 ante Club León. José Caicedo, Ulises Rivas, Ali Ávila y un autogol de los regios fueron suficientes para llevarse la victoria en las instalaciones de Cantera. Con el triunfo conseguido ante Monterrey, los Pumas sumaron su segundo triunfo en pretemporada. Esto después de vencer a los Venados de Mérida y posteriormente caer ante el Detroit City. Culminando de esta manera un destacado proceso de preparación que comenzó desde Cantera y también incluyó la pretemporada realizada en Playa del Carmen.
Pumas de la UNAM ya habría implementado un “plan B” para apuntalar la zaga defensiva, con Rubén Duarte.
Como lo reportó César Luis Merlo en primera instancia, MT pudo confirmar que Rubén Duarte en efecto es uno de los elementos dentro del radar de los universitarios. Por lo que el fichaje del europeo podría hacerse posible la próxima semana.

Duarte habría dado el visto bueno para su llegada al Club Universidad Nacional, sin embargo, el cuadro del Pedregal y el Alavés, actual equipo de Rubén, aún no habrían llegado a un acuerdo de palabra, mucho menos un acuerdo oficial por el traspaso del elemento alavesista.
Durante la temporada 2023/2024 de LaLiga, Rubén Duarte disputó un total de 28 partidos, siendo titular en 21 de ellos y promediando 68 minutos por duelo. Esto a la par de anotar dos goles y brindar una asistencia en el certamen doméstico.
El asesor deportivo de Red Bull, Helmut Marko, ofreció sus impresiones tras lo visto de sus pilotos en el Gran Premio de Austria, donde a pesar de sus resultados quedó satisfecho con lo mostrado tanto por Sergio ‘Checo’ Pérez como por el tricampeón mundial Max Verstappen.
Por su parte, Duarte es canterano del Espanyol de Barcelona y se desempeña como lateral por izquierda, misma posición que Pumas busca apuntalar. El zaguero de 28 años actualmente tiene una ficha valuada en tres millones de euros de acuerdo al sitio especializado Transfermarkt.

No les fue nada bien
Helmut Marko subrayó que la gente quedó muy complacida con el show, sin embargo, una victoria del neerlandés hubiera sido la ‘cereza del pastel’ para el público que se dio cita en el circuito austriaco, sin embargo, Verstappen terminó quinto.
impresiones tras lo visto de sus pilotos en el Gran Premio de Austria, donde a pesar de sus resultados quedó satisfecho con lo mostrado tanto por Sergio ‘Checo’ Pérez como por el tricampeón mundial Max Verstappen.
En entrevista con Servus TV, el siempre polémico directivo austriaco destacó que Checo Pérez tuvo que lidiar con una problemática en su auto durante toda la competencia en el circuito de Spielberg, y a pesar de ello aseguró que el tapatío cumplió con lo solicitado desde el garage de Red Bull.
En entrevista con Servus TV, el siempre polémico directivo austriaco destacó que Checo Pérez tuvo que lidiar con una problemática en su auto durante toda la competencia en el circuito de Spielberg, y a pesar de ello aseguró que el tapatío cumplió con lo solicitado desde el garage de Red Bull. El asesor deportivo de Red Bull, Helmut Marko, ofreció este domingo sus

Feyenoord ha hecho oficial la incorporación de Julián Carranza, un joven delantero argentino que viene de la MLS (Philadelphia Union) y podría ser el reemplazo de Santiago Giménez. Y es que, desde hace varios meses, se ha manejado que el Bebote estaría viviendo sus últimos días como futbolista del conjunto neerlandés y el fichaje de Carranza podría ser una pista para lo que viene en el futuro. “Me siento muy honrado de que el Feyenoord haya mostrado interés en mí. Es un club grande con una historia impresionante, y creo que su estilo de juego se adapta bien a mis habilidades”, aseguró el sudamericano tras su fichaje.




LEÓN
León está frustrado por situación de Andrés Guardado al estar nuevamente lesionado tras un breve período de juego de tan solo 20 minutos.
Andrés Guardado, quien había sido presentado como refuerzo bomba del León el torneo pasado, apenas pudo disputar 20 minutos antes de sufrir un nuevo contratiempo físico. Para Andrés Guardado esta nueva lesión representa un obstáculo significativo. Su determinación por recuperarse y contribuir
al equipo contrasta con las crecientes dudas sobre su capacidad para mantenerse en forma física constante y jugar un papel consistente con el León. Con cada contratiempo, la paciencia se agota en León, donde la expectativa de ver a Andrés Guardado brillar en el campo se ve constantemente frustrada por la persistencia de sus problemas físicos. En un inesperado giro de eventos durante la final de la Copa Guanajuato, disputada por el León, Andrés Guardado se vio obligado a abandonar el campo antes del final del primer tiempo debido a una posible lesión. Guardado, quien comenzó como titular para el León en el enfrenta -


El jugador veterano Andrés Guardado está nuevamente lesionado y está en riesgo su continuidad con el León
miento contra Celaya, fue observado corriendo, trotando y tocándose el mus-
lo, lo que levantó alarmas sobre su estado físico. La situación se desarrolló rápidamente, y el cuerpo técnico del León decidió sustituir a Guardado antes de que la lesión pudiera agravarse y tuviera que ausentarse por más tiempo.
Lesionado
El experimentado mediocampista Andrés Guardado ha estado lidiando con problemas físicos, y su reciente lesión en la final de la Copa Guanajuato ha generado incertidumbre sobre su disponibilidad.
A pesar de la salida temprana de Guardado, León logró mantener su desempeño en el partido, llevando el enfrentamiento hasta una emocionante tanda de penales. Finalmente, León se impuso sobre Celaya, coronándose campeones de la Copa Guanajuato. (FOTO

Chivas se encuentra en graves problemas pues se acaba de revelar que un equipo de Europa está interesado en una de sus figuras y probablemente tengan que prepararse para su posible partida. Esto encendió las alarmas en Chivas pues no están listos para quedarse sin uno de sus mejores jugadores y más ahora que no han podido conseguir refuerzos para el Apertura 2024. En este mercado de verano, las Chivas se han quedado algo cortas de presupuesto pues no se han anunciado fichajes bomba como sucede con otros equipos de la Liga MX y esto resulta algo frustrante para los chivahermanos.
Y, por si fuera poco, un equipo de Europa quiere llevarse a Jesús Orozco Chiquete, quien no dudaría en abrirle las puertas y dejar de usar los colores rojiblancos.
El canterano del Chivas, Jesús Orozco Chiquete, tiene una oferta para jugar
en Europa lo que significa uno de los más grandes temores de los chivahermanos, perder a uno de los mejores jugadores.
Chivas continúa buscando jugadores para el Apertura 2024 y aunque no ha tenido tanto éxito en el mercado, El-Mesmari, Mauricio Reyes, Omar Govea, Daniel Aguirre son las altas. Cuatro altas
Según la página Jóvenes Futbolistas MX, tal vez debamos ir anticipando la salida de Jesús Orozco Chiquete ya que el rojiblanco tiene una propuesta formal por parte de un equipo de la Primera División de Bélgica y esperan una pronta respuesta. Incluso, hay otros dos equipos interesados por los servicios de Orozco Chiquete que son de la Liga MX y se dice que Chivas está esperando dichas ofertas por lo que su etapa en el Rebaño Sagrado podría terminar muy pronto.
La Copa Fundadores ganada por Cruz Azul tuvo un alto costo para el equipo debido a que Giorgos Giakoumakis salió del partido de cambio por una lesión en el tobillo izquierdo, la cual provocó que el jugador fuera atendido
Copa,
por primera vez en la historia y que ganó el equipo celeste 1-0 al América de Cali. El jugador fue titular y hasta el momento de la lesión apenas había tenido un remate en el duelo

Los españoles tendrán de rivales a los alemanes
ESPAÑA GEORGIA 4 1
Goles: España: 39´ Rodrigo Hernández Cascante; 51´ Fabián
Ruiz; 75´ Nico Williams; 83´ Dani
Olmo / Georgia: 18´ Robin Le Normand
La selección de España logró avanzar a los Cuartos de Final de la Eurocopa 2024 tras golear 4-1 a Georgia en los Octavos de Final, duelo que la Furia Roja comenzó perdiendo, pero que logró controlar y finalmente darle la vuelta al marcador. Rodri, Fabián Ruiz, Nico Williams y Dani Olmo fueron los autores de los tres goles que le dieron el triunfo a España, quien se enfrentará en su próximo juego del torneo al anfitrión, es decir, la selección de Alemania, quien el sábado se impuso 2-0 a Dinamarca. El guardameta del Valencia, uno de los mejores del torneo, detuvo en los primeros minutos los intentos de Pedri (5) y Dani Carvajal

(11) desde dentro del área, resistiendo al asedio total de España. Fieles a ese plan, los rapidísimos ‘Cruzados’ solo necesitaron un primer zarpazo para abrir el marcador. Sin perder la calma y consciente de su superioridad, la Roja empezó a probar con disparos también desde fuera del área. Y luego de otras tres paradas de Mamardashvili (22, 35, y 38), llegó un disparo cruzado desde la frontal de Rodri para devolver el empate al marcador. El centrocam-

pista, imperial durante el encuentro, fue nombrado Jugador del Partido por la UEFA.
La segunda parte, que arrancó con un susto sin consecuencias de Kvaratskhelia a una posición adelantada de Unai Simón, pronto se tiñó de rojo, gracias en especial a dos destellos de brillantez de Lamine Yamal.
El joven de 16 años rozó el gol con una falta directa salvada una vez más por Mamardashvili (51) pero
en la continuación colgó un balón al área con el interior del pie izquierdo y ahí apareció Fabián Ruiz para poner a España por delante en el marcador. Yamal buscó también su primer gol (53, 63, 73 y 82), pero fue el otro extremo, Nico Williams, quien finalizaría un gran contragolpe resolviendo con clase el cara a cara contra Mamardashvili. Con los georgianos ya de brazos caídos, Dani Olmo cerró la goleada, un mensaje directo
El mexicano Sergio Pérez, piloto de Red Bull, finalizó en la séptima posición el Gran Premio de Austria, mismo que se llevó George Russell, primero, luego de un incidente entre Max Verstappen y Lando Norris, que los dejó en quinto puesto y DNF, respectivamente. Pérez intentó ir por el sexto puesto sobre el cierre, sin embargo, Nico Hülkenberg defendió bien la posición y quedó por encima del mexicano, que no tuvo una mala carrera en el Gran Premio de casa de su escudería. Sainz se benefició de la situación entre Verstappen y Norris, y aunque no pudo contener al australiano Oscar Piastri (McLaren) por la segunda plaza, terminó tercero en una carrera que se agitó en las últimas veinte vueltas, mientras el español Fernando Alonso (Aston Martin) acabó decimoctavo, muy lejos de las primeras plazas.
INGLATERRA ESLOVAQUIA 2 1
Goles: Inglaterra: 91´ Harry Kane; 95´ Jude Bellingham / Eslovaquia: 25´ Iván Schranz
Inglaterra se salvó del fracaso en la Eurocopa 2024. El combinado de Gareth Southgate venció por 2-1 a Eslovaquia en un emocionante partido que remontaron gracias a los tantos de Jude Bellingham y Harry Kane, quienes levantaron a su equipo tras el golpe que significó el primer gol del partido marcado por Ivan Schranz.
En la primera parte, el combinado eslovaco le dio un baile a una Inglaterra que no sabía a lo que quería jugar. La escuadra de Francesco Calzona no controlaba la pelota, sin embargo, generaba peligro cada vez que la tenía y en una de esas jugadas apareció Schranz para hacer estallar la VeltinsArena de Gelsenkirchen.
Al 25’, el combinado eslovaco capitalizó una gran jugada colectiva donde brillaron Strelec y Schranz. El 9 de Eslovaquia controló, vio que su compañero entró solo al área, le filtró la pelota y dejó que el 26 acabara la jugada. Y Schranz no falló: definió con la cara externa del pie derecho para poner el 1-0.
Pese al gol, el combinado inglés no mejoró durante la primera parte,
donde los eslovacos demostraron ser una muralla en defensa y muy efectivos cuando les tocaba atacar. Sin embargo, los papeles se invirtieron en la segunda parte, cuando Southgate decidió ir con todo y les dio ingreso a futbolistas como Cole Palmer y Eberichi Eze. De hecho, Inglaterra había conseguido igualar el marcador antes de que darle ingreso a toda la artillería, pero el tanto de Phil Foden fue anulado por fuera de lugar. Con todo el talento sobre el campo, los Leones tuvieron varias opciones que no terminaron en gol. Incluso Kane se unió al festival de fallas errando un remate de cabeza que realizó totalmente solo. Cuando todo estaba perdido para Inglaterra apareció Jude. A un minuto de que se acabara todo, el futbolista del Real Madrid marcó un golazo de chilena para mandar el partido a los tiempos extras. La Veltins-Arena explotó y los ingleses sabían que el juego estaba en sus manos. El envión anímico no fue en vano, ya que al 91 Harry Kane se encontró botando un balón que terminó mandando al fondo de la red de Dúbravka. La remontada era una realidad, solo faltaba mantener el resultado y conseguir lo anhelado: el pase a Cuartos.


Tsunoda mutado con 40 mil euros tras insultos
FÓRMULA UNO
Luego de una investigación por parte de la FIA, Yuki Tsunoda fue multado por 40 mil euros tras realizar insultos a través de la radio durante la clasificación del Gran Premio de Austria.
A pesar de la justificación del nipón y tras la revisión de las pruebas, las FIA decidió continuar con la sanción, ya que esos audios se encuentran en las distintas plataformas, por lo que hay que mantener cierto decoro.
“Durante la Q1, cuando el coche 22 estaba en la cola del carril rápido y otro coche se mezcló en el carril rápido por delante de él, se oyó al piloto hacer una declaración por la radio del equipo utilizando un lenguaje ofensivo.
“(Tsunoda) dijo que se sintió horrorizado cuando se enteró (qué dijo); sostuvo que su comprensión de las palabras era diferente, pero reconoció que esto no debe considerarse una excusa para lo que hizo”, menciona la organización.
VENEZUELA 0 3
Goles: Jamaica: -- / Venezuela: 49´ Eduard Bello; 56´Salomón Rondón; 85´ Eric Ramírez
La Selección de Venezuela
avanzó como líder del Grupo B de la Copa América con el pleno de puntos por primera vez en su historia, al ganar por 2-0 este domingo a Jamaica en Austin (Texas) tras sus anteriores triunfos contra Ecuador y México, y evitó a Argentina para citarse con Canadá en los Cuartos de Final.
Los goles de Eduard Bello, Salomón Rondón y Eric Ramírez lanzaron a la selección del argentino Fernando Batista, suspendido y reemplazado en el Q2 Stadium de Austin por su asistente Leandro Cufré, en una tarde en la que la única noticia negativa fue la amarilla vista por Darwin Machís, que se perderá el siguiente juego. El viaje de la Vinotinto, apoyada en Austin por casi 20,000 aficionados en el estadio, le llevará ahora al AT&T Stadium de Arlington (Texas) para los cuartos contra Canadá, segundo detrás de Argentina en el Grupo A. Venezuela dominó su grupo y acabó con nueve puntos. Jamaica, que llega-
ba a esta cita ya eliminada, quedó cuarta. Venezuela tenía a cuatro apercibidos de sanción (Machís, Christian Cásseres, Nahuel Ferraresi y Miguel Navarro) para llegar a la cita con Jamaica y el ‘Bocha’ Batista solo alineó a uno de titular, Darwin Machís. El extremo cometió una grave ingenuidad a los nueve minutos. Cometió una dura falta a Joel Latibeadiere que pudo incluso costarle la roja. Finalmente, el árbitro italiano le enseñó la amarilla, lo que le impedirá competir contra Canadá. Fue el único inconveniente de la tarde de Venezuela, que jugó ‘en casa’ en Austin, en un estadio teñido de color vinotinto, y se dio un festín en la segunda mitad tras el empate sin goles de la primera.
¿Quiénes marcaron con Venezuela ante Jamaica? Machís sacudió a la defensa rival con su cambio de ritmo y pudo adelantar a la Vinotinto al borde del descanso con un centro colgado desde la banda izquierda que estuvo a punto de sorprender al meta, protagonista con una intervención de mérito para sacar el balón de la escuadra.
Pero solo fue cuestión de esperar para Venezuela. A los cuatro minutos de la reanudación, Jon Aramburu colgó un perfecto centro desde la banda izquierda que Bello aprovechó para liberarse de la marca de Ethan Pinnoch y cabecear para el 1-0. Se liberó de la tensión la Vinotinto y siete minutos después llegó el golpe en la mesa de Salomón Rondón, que fulminó al portero tras recibir un buen pase al hueco de Yangel Herrera. El Gladiador celebró su segundo gol en esta Copa América y dejó tocada a Jamaica. Rondón, delantero de Pachuca, lleva 43 goles con Venezuela en 106 partidos y es el máximo anotador de su selección. Cuando él anota, su equipo triunfa. Así ha pasado en los últimos 16 precedentes. Le funciona todo a Venezuela. El Gladiador se retiró en el minuto 81, sustituido por Eric Ramírez, y recibió la larga ovación del público. Menos de cuatro minutos después, encaró al meta en un mano a mano tras una gran asistencia de Andrade y le superó para firmar el 3-0. Acabó en un ambiente de fiesta el duelo del Q2 Stadium para una Vinotinto que no se pone límites. –MT.


Relieve de “contorsionista” olmeca Este relieve olmeca, de aproximadamente 1.40 m de diámetro, tiene tallada iconografía en la que se representa en la parte superior, rodeada por fauces celestes, una diadema formada por mazorcas de maíz que en el centro muestra un espejo con una cruz olmeca, un glifo asociado a la élite. En los costados se observan unas huellas; mientras que en la parte baja se encuentran los brazos cruzados. El rostro muestra la boca en una expresión de gruñido, aspecto relacionado con el jaguar. Se han hallado varias tallas, en relieve y esculturas, de “contorsionistas” elaboradas por la cultura olmeca; sin embargo, estas imágenes son representaciones de gobernantes o miembros de la élite.
CULTURA
Exposición que muestra el pasado de la Ciudad de México a través de la gráfica y la fotografía
Ainicios del siglo pasado el Kiosco Morisco no estaba en la colonia Santa María la Ribera, sino en la Alameda Central, como deja testigo la imagen que el fotógrafo francés Alfred Briquet tomó alrededor de 1900, cuando un grupo de personas estaba reunida al interior de la edificación, algunos se distinguen con sombreros de la época, otros visten con ropa de manta. Esta es la obra más antigua de la exposición Ciudad de contrastes, gabinete de fotografía y gráfica, recientemente abierto al público en el Museo Nacional de Arte (Munal).
Además, esta pieza titulada Pabellón morisco es ejemplo de una antigua técnica, la albúmina, muy utilizada durante la segunda mitad del siglo XIX y que entró en desuso en el XX debido a los progresos tecnológicos, por lo cual este espacio se vuelve una oportunidad para descubrir, a lo largo de 40 piezas, no solo el pasado de la Ciudad de México, sino el trabajo de diversos artistas y sus técnicas, señalaron en entrevista los curadores David Caliz y Ramón Avendaño.

Presentan dos conciertos en Toluca e Ixtlahuaca, bajo la dirección de Rodrigo Macías y con interpretación de obras de Wagner y Mahler
La Orquesta Sinfónica del Estado de México (OSEM) concluyó su Temporada 150 de conciertos, bajo la dirección del maestro Rodrigo Macías y con la presencia de Fátima Orquídea Olivares Torres,
Subsecretaria de Cultura estatal.
Se presentaron en la Sala de Conciertos “Felipe Villanueva” y en el Auditorio Municipal de Ixtlahuaca, acompañados de cientos de familias.


Preparan temporada 151
La Orquesta Sinfónica del Estado de México prepara el inicio de la Temporada 151, donde promete acercar el mejor repertorio sinfónico a todas las y los mexiquenses, bajo el liderazgo de Rodrigo Macías.
El programa incluyó dos piezas extraordinarias del repertorio clásico. Para dar inicio, la Orquesta interpretó el Preludio de “Los maestros cantores de Nurem -
berg”, de Richard Wagner, obra que captura la esencia de la ópera homónima del compositor, destacada por su brillante orquestación y vibrante energía. Continuaron con la Sinfonía No. 1 en Re Mayor, “Titán”, del gran Gustav Mahler, obra monumental que combina elementos de la música folclórica, marchas y corales. La interpretación de la OSEM fue un viaje emocional que llevó al público desde los susurros más delicados hasta las emociones más poderosas y resonantes.
Estos conciertos marcaron el final de una temporada memorable y exitosa, con 18 semanas de extraordinarios conciertos presentados ante miles de familias, en los escenarios más bellos y emblemáticos del estado; con ellos reafirmaron su misión de ser una embajadora cultural para los habitantes del estado, consolidándose como una de las mejores orquestas de México y Latinoamérica.

el mes de julio ofrecerá cuatro espectáculos para jóvenes audiencias en el Teatro de las Artes. Las actividades arrancarán con la ópera De grillos y chicharras. Breve ópera migrante, que ofrecerá funciones el sábado 6 y el domingo 7 de julio, en la cual un incendio deja sin hogar a las chicharras, lo que las obliga a migrar en busca de refugio; y aunque encuentran el lugar perfecto para vivir, descubren que ese sitio pertenece a los grillos, quienes no están dispuestos a compartir su territorio.

artistas del Munal
El Museo Nacional de Arte, de la Red de Museos del Instituto Nacional de Bellas Artes y Literatura (Inbal), realizará el curso de verano Mujeres artistas del Munal, impartido por Silvana Gesualdo. El programa tendrá lugar los sábados del 6 de julio al 24 de agosto, de 10:30 a 12:30 h. Durante ocho sesiones los participantes podrán reconocer la producción artística de destacadas creadoras y su lugar en la colección del museo, cuya presencia conforma un total de 54 artistas y 515 obras. Desde la tradición clásica de la Academia de San Carlos, en el siglo XIX, hasta la fotografía contemporánea de la segunda mitad del siglo XX;

Gran Misa de Mozart
La Secretaría de Cultura del Gobierno de México y el Instituto Nacional de Bellas Artes y Literatura (Inbal), como parte de las actividades especiales con las que Solistas Ensamble de Bellas Artes, bajo la dirección de Christian Gohmer, en el marco del aniversario 40, anuncian una colaboración interinstitucional con la Orquesta Filarmónica de la UNAM para presentar la Gran Misa en Do menor, KV 427, de Wolfgang Amadeus Mozart. La Gran Misa en Do menor, KV 427, fue creada por Mozart en 1782, y estrenada al año siguiente en Salzburgo, aunque estaba inacabada, ya que la escribió no por encargo, como era común en la época, sino

Aurora Reyes exhibe piezas que develan la destreza dibujística de la primera muralista mexicana
De lo solemne, pasando por el homenaje, hasta la sátira crí -
tica, el dibujo de Aurora Reyes externa la mirada y sensibilidad de una artista siempre atenta a su entorno, que luchó por la
educación y los derechos de las mujeres, lo cual se puede explorar en la muestra Arte y lucha. Aurora Reyes (1908-1985),
que actualmente se exhibe en el Museo Nacional de San Carlos, con piezas inéditas y poco conocidas. Para el co-curador de la exposición, Mariano Meza Marroquín esta es la oportunidad para acercarse a una artista poco explorada,

IIFAEM exhibe y comercializa piezas de las 13 ramas artesanales del Estado de México, del 1 al 26 de julio
El Estado de México cuenta con una riqueza cultural, turística y artesanal envidiable, por ello es considerada una entidad con historia, tradición y cultura, características que las y los visitantes podrán encontrar en Punto México, un espacio de promoción para el arte popular mexiquense.

Del 1 al 26 de julio, la Secretaría de Cultura y Turismo, a través del Instituto de Investigación y Fomento de las Artesanías del Estado de México (IIFAEM), participará en Punto México un espacio que permite la exhibición, comercialización y promoción de las artesanías, así como de los lugares turísticos con los que cuenta la entidad. El Instituto exhibirá y pondrá a la venta piezas de las 13 ramas artesanales con las que cuenta el Estado de México, así

como de las 42 subramas que desarrollan las maestras y los maestros del arte popular. Las y los asistentes podrán admirar y comprar desde obras de gran formato hasta sorprendentes trabajos en miniatura, o los famosos árboles de la vida, también rebozos, prendas con bordados mazahuas, juguetes tradicionales elaborados en madera, piezas de obsidiana, cerámica de alta temperatura, cestería de fibras vegetales y productos gastronómicos artesanales, entre otros productos.
En los 26 días de la Expo-venta participarán 32 artesanas y artesanos en rotación semanal a fin
de que las ramas artesanales tengan presencia y el público pueda conocer la dedicación, destreza y calidad con la que realizan su trabajo. Los fines de semana, las maestras y los maestros de gastronomía dedicados a elaborar salsas, mermeladas, productos deshidratados, licores, destilados de maguey y dulces tradicionales, ofrecerán degustaciones de 12:00 a 15:00 horas.
Redes Sociales
Las personas interesadas pueden consultar las redes sociales en Facebook y Twitter en @iifaem y en Instagram como @ artesaniasmexiquenses, en donde se les brindará toda la información para saber cómo llevarse a casa un pedacito del Estado de México.
Punto México tiene un horario de 09:00 a 18:00horas y se ubica en Av. Presidente Masaryk #172 colonia Polanco, alcaldía Miguel Hidalgo, en la Ciudad de México. La entrada es gratuita.
entenderla desde su activismo, pero, sobre todo, conocer su extraordinaria habilidad dibujística, aspecto que quiere subrayar la exposición: “El dibujo en Aurora Reyes representa la posibilidad de crear. Ella fue una artista que
tuvo la necesidad de trabajar, no solo fue maestra, tuvo cargos de inspectora, fue difusora del feminismo, entre otros proyectos por los cuales trabajó, lo cual le dejaba poco tiempo para dedicarse a la creación artística”.
La Secretaria de Cultura del Gobierno de México y el Instituto Nacional de Bellas Artes y Literatura (Inbal), por medio de la Coordinación Nacional de Teatro, y el Gobierno del estado de Baja California Sur, a través del Instituto Sudcaliforniano de Cultura, convocan a personas jóvenes dedicadas a la creación escénica que acrediten estudios o experiencia entre 1 y 3 años en teatro para formar parte del programa Jóvenes a la Muestra que se desarrollará en el marco de la 44 Muestra Nacional de Teatro (MNT) que este año se celebrará en Baja California Sur del 7 al 16 de noviembre de 2024. Como en años anteriores, esta convocatoria es una
Novedad editorial del INAH aborda estudio histórico
La Secretaría de Cultura del Gobierno de México, a través de la Coordinación Nacional de Difusión del Instituto Nacional de Antropología e Historia (INAH), continúa con el ciclo “Palabra de nuestras autoras”, programa de promoción editorial, con la presentación del libro Alcoholismo. Vicio, enfermedad y muerte. La mirada médica entre 1870 y 1910 en la Ciudad de México. El libro puede consultarse de manera gratuita en el repositorio de la Mediateca del INAH


atenta invitación para que las personas entre los 18 y 29 años de edad, dedicadas a las artes escénicas, conozcan, disfruten y se involucren de manera más cercana con los procesos artísticos, de producción y técnicos, y con la labor que desarrollan especialistas y participantes de la MNT. Asimismo, se plantea como un espacio de participación activa donde expresen su experiencia y motivaciones.

Seis sitios arqueológicos: Balamkú, Xpujil, Becán y Hormiguero, en Campeche; Mayapán, en Yucatán, y Chakanbakán, en Quintana Roo, serán incorporados al Programa de Mejoramiento de Zonas Arqueológicas (Promeza) que lleva a cabo el Instituto Nacional de Antropología e Historia (INAH), institución de la Secretaría de Cultura federal, para impulsar la investigación y favorecer las condiciones de visita a estos espacios patrimoniales.

Habló sobre esa etapa de su vida.
Auna semana del estreno de la obra Aventurera, el productor Juan Osorio rompió el silencio y salió en de -
fensa de su protagonista, Irina Baeva, tras la ola de críticas por su forma de bailar y su desempeño en el personaje de ‘Elena Tejero’.
Ante los señalamientos de Niurka Marcos contra la actriz rusa,
Osorio decidió ponerle un alto a su expareja, y durante una entrevista para medios como Venga la Alegría, no dudó en señalar que la madre de su hijo Emilio tuvo sus primeras oportunidades en México gracias a él. “Lo

que no le voy a permitir es que critique mi trabajo, conmigo que se metan lo que quiera, pero que a mi trabajo lo respete y a mis actores que los respete porque merecen todo el respeto, así como ella llegó un día y tuve que tocar puertas, yo toqué las puertas por ella y le di la oportunidad, enton-
ces, que no se me olvide”, expresó el productor.
Visiblemente molesto por los comentarios de la vedette cubana y algunos internautas hacia su proyecto y la prometida de Gabriel Soto, Juan manifestó que muchos de los que están atacando la obra, no tienen ninguna autoridad para hacerlo.
Luego de informarse que Gerard Piqué y su novia Clara Chía Martí le ganaron la demanda al paparazzi Jordi Martin por acoso y lesiones, el amante de la lente reveló que acudirá a otra instancia para apelar la sentencia en su contra. Tras ser condenado a 1 año de cárcel, 6 meses por el delito de acoso y el resto por las lesiones cometidas después de que saliera a la luz que supuestamente Clara Chía fue la tercera en discordia en la relación de Shakira y Piqué, Martin ofreció sus primeras declaraciones y aseguró que no se quedará de brazos cruzados.
“Voy a apelar, voy a ir al Tribunal Supremo de Madrid, en España, donde Piqué no tiene esos lazos, y entiendo que yo voy a quedar absuelto, porque yo al final defiendo mi trabajo, pero estoy seguro que no voy a pisar la cárcel”, expresó Jordi en el programa Lo sé todo Colombia. Sobre su reacción al conocer el veredicto, el fotógrafo contó: “Me pasé el día llorando. Me pasé el día triste porque veo que es una injusticia, que sienta un precedente en la historia del periodismo en España. Es la primera vez que se le condena a un periodista en España, a una condena de cárcel”.

(FOTO:

TIKTOKER ARGENTINA ARREMETE CONTRA
La relación entre Christian Nodal y Ángela Aguilar sigue causando revuelo en redes sociales, y en esta ocasión Jesi Marcos, una famosa tiktoker argentina, reaccionó al concierto que el cantante brindará en el Movistar Arena, de Buenos Aires, el próximo 14 de agosto. La influencer expresó que el anuncio del show por parte del mexicano era una falta de respeto para los argentinos, quienes han defendido a capa y espada a Cazzu, luego de que Nodal hiciera pública su relación sentimental con Ángela a escasas semanas de anunciar su separación de la rapera. “Es un tarado y vale dos pesos”, expresó Jesi Marcos sobre el cantante de música regional mexicana y el espectáculo que recientemente promocionó. “No puedo creer que este tipo tan cara dura, quiera venir a hacer un Movistar Arena en Argentina”, agregó la creadora de contenido sobre el artista al que se le acusa de supuesta traición a Cazzu a unos meses de dar a luz a su hija Inti. A pesar de que la tiktoker dijo no juzgarlo por su relación sentimental, recalcó que la forma en que el intérprete de “Ya no

La cantante Belinda vuelve a ser tema de conversación por su relación con la prensa, tras ser cap-
tada en el Aeropuerto de la Ciudad de México vestida como un elemento de seguridad con el objetivo de escapar de los periodistas. Luego de que hace algunas semanas la intérprete de “En el amor hay
“Coco” Levy pensó en dejar este mundo
Jorge Levy, conocido en el medio artístico como Coco, confesó la difícil situación que está atravesando a un año de la muerte de su madre Talina Fernández, y a casi tres semanas del repentino deceso de su hermano Patricio.
El productor de cine reveló en entrevista para Ventaneando que ahora vive solo en la casa que era propiedad de la “Dama del buen decir”, por lo que, en un momento, mientras pensaba en la dolorosa pérdida de sus seres queridos, no descartó la posibilidad de abandonar este mundo.
“El día que murió Pato de repente me encontré en una encrucijada, en donde, por un momento
no tuve fe y muy rápido y de una manera muy sorpresiva encontré la misión, encontré razones para vivir, los hijos de Pato, mis hijas”, declaró Coco.
Sobre los planes que tiene para conmemorar a sus familiares, Levy detalló:
“Vamos a hacer una misa porque se cumple 1 año de la partida de mi madre, y vamos a hacer la misa conmemorando y recordando a Fernando, mi hermanastro, que murió hace cuatro meses aquí con nosotros, tuvo un infarto al miocardio, y de mi Pato, mi otra mitad, parte de mi corazón, que acaba de irse, una partida que me ha costado mucho trabajo, que sí ha sido, no lo duro sino lo tupido”.

que perdonar” presuntamente huyera de una conferencia dentro de una maleta, en esta ocasión distintos medios, entre ellos Chisme No Like, la encontraron caminando por la terminal aérea por-
tando un chaleco característico de los guardias, además gorra y cubrebocas, con la finalidad de pasar desapercibida. Como era de esperarse, los reporteros la abordaron e iniciaron los
cuestionamientos sobre la polémica amorosa que envuelve a su exprometido Christian Nodal y su actual noviazgo con Ángela Aguilar; sin embargo, la artista española únicamente dijo: “No me
TELEVISIÓN
Aurea Zapata, la actriz y presentadora de televisión que denunció a su exesposo, Patricio Cabezut, por violencia intrafamiliar desde el 2021, acudió al programa Hoy para revelar una de las pruebas que, asegura, ya mostró en su proceso legal contra el conductor. “Hoy aquí, en exclusiva, les traigo un video en donde este señor es generador de violencia, mis hijas y yo lo vivimos no una vez, muchísimas veces, lo vivíamos cada día que nos despertábamos, y hasta dormir. Les presentó el video donde el señor Patricio Cabezut es un generador de violencia”, explicó Aurea.
Tras revelarse el clip donde supuestamente se puede
escuchar a Patricio amenazar a una de sus hijas con darle “cinturonazos” mientras la regañaba, además de gritarle a Aurea indicándole que se metiera a su cuarto para que lo dejara solo con las niñas, y de amedrentarlas con que se iría de la casa.- AGENCIA MÉXICO
empujen”. Y a pesar de que las interrogantes no paraban e incluso surgieron peticiones para que le enviara un mensaje de sororidad a la rapera Cazzu, expareja y madre de la pequeña hija de Nodal, la actriz y cantante se negó a emitir ningún tipo de declaración.

Marca MP sorprendió a sus seguidores con el lanzamiento del video oficial de “El Mentado (En Vivo)”, un cover del fallecido cantautor Ariel Camacho. Esta canción forma parte de su más reciente álbum titulado “Desde el Cantón Vol. II (En Vivo)”. Escúchalo AQUÍ. El video, dirigido por Eddie Rodríguez, es especialmente significativo para la agrupación, ya que rinde homenaje a uno de sus máximos ídolos. Chato, Ismael, Omar y Neto demuestran su talento y profesionalismo en esta grabación en vivo. Míralo AQUÍ.

Actualmente, Marca MP continúa cumpliendo con todas las fechas de su gira “Simplemente Marca Tour” por Estados Unidos, dejando satisfecho a todo el público asistente
con interpretaciones de éxitos como “Ya Acabó”, “Recuerda”, “Te Apuesto”, “El Güero”, “Soy Alegre”, “Lealtad”, entre otros. En las próximas sema -
nas, la agrupación presentará el video oficial de “Lejos”, canción que se ha convertido en una de las favoritas en Tik Tok y que ya era muy esperada antes de su lanzamiento.