June 8, 2024 Dairy Star - 1st section - Zone 2

Page 1

“All

Gajewski’s dairy farm destroyed in tornado

EDGAR, Wis. — Jeff Gajewski spent his life building his dairy farm, but in a matter of seconds, it was all destroyed when a tornado ripped through the Marathon County farm May 21.

“Forty-six years, gone,” Gajewski said. “All the years spent building this place, making it what it was, all gone. At least I have pictures of the place.”

The National Weather Service conrmed that an EF1 tornado with maximum

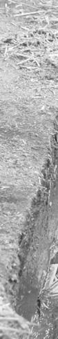
The remains of the dairy barn lie in Jeff Gajewski’s yard May 25 a�er an EF1 tornado destroyed his farmsite located near Edgar, Wisconsin. A�er the May 21 storm, Gajewski worked with family, friends and neighbors through the night to free his herd of dairy cows.

wind speeds of 90 mph traveled 3.57 miles. In its path was the Gajewski dairy farm near Edgar.

Sharing their success Gone in 60 seconds

Prior to the storm, Gajewski milked 32 cows in the barn he rebuilt after he purchased the farm in the late 1970s.

“I had planned to sell the cows here in a couple of months, but I didn’t want to

go this way,” Gajewski said. “My sons had planned to use the buildings for their beef cattle.”

Gajewski’s barn and two silos took a direct hit from the tornado. Gajewski was emotional talking about it.

“The cows were trapped in the barn, the beams were on top of them,” Gajewski said.

Two cows were killed when the barn collapsed and four additional cows were put down that night, due to the severity of their injuries. The remaining cows were sent to Premier Livestock & Auctions LLC the next morning.

“The guys that hauled them said they looked great when they got to Premier,” Gajewski said. “They didn’t limp or stumble or anything getting off the trailers. That is really quite remarkable.”

Heim family to host Kewaunee County Breakfast on the Farm

ALGOMA, Wis. — At Heim’s Hillcrest Dairy, the Heim family strives to be a good neighbor and transparent member of the community.

“I tell our employees the farm has to be tour-ready every minute of every day,” Jeremy Heim said.

In line with this philosophy, the Heim family is inviting all their neighbors to join them on their dairy June 16 for the Kewaunee County Breakfast on the Farm.

“I’m excited to invite the community in to see what we do and how we do it,” Heim said. “I want them to see the care that we put into our ladies.”

Heim and his family milk

825 cows three times a day in a double-12 parallel parlor and farm 1,800 acres near Algoma. Heim and his brothers, Scott and Rod, farm with their parents, Lloyd and Joyce. Scott’s wife, Carrie, is the herd manager. The fourth generation is represented by Heim’s daughter, Kiley, and his son, Ben, and Rod’s son, Sam. Heim’s Hillcrest Dairy is a familyoriented operation, employing many extended family members as well for a total of 36 employees.

In 2015, the Heims started Heim Brothers Custom and provide chopping, baling, merging, manure hauling, spill cleanup and excavation services. The Heims cover 28,000 acres for approximately 15 customers within a 20-mile radius.

June 8, 2024 Volume 26, No. 8
dairy, all the time”™ J
DANIELLE NAUMAN/DAIRY STAR
Turn to GAJEWSKI | Page 2
PHOTO SUBMITTED
Turn to HEIMS | Page 6
The Heim family — Kiley (front from le�), Joyce, Lloyd and Carrie; (back, from le�) Sam, Jeremy, Ben, Sco� and Rod — milk 825 cows and farm 1,800 acres at Heim’s Hillcrest Dairy near Algoma, Wisconsin. The family also owns Heim Brothers Custom, providing chopping, baling, merging, manure hauling, spill cleanup and excava�on services.
Sign up for our Newsletter up for our Dairy St r Milk Break Visit dairystar.com to sign up!

DAIRY ST R

ISSN Print: 2834-619X • Online: 2834-6203 522 Sinclair Lewis Ave. Sauk Centre, MN 56378

Phone: 320-352-6303 Fax: 320-352-5647 www.dairystar.com

Published by Star Publications LLC

General Manager/Editor

Mark Klaphake - mark.k@dairystar.com

320-352-6303 (ofce)

320-248-3196 (cell) 320-352-0062 (home)

Ad Composition - 320-352-6303

Nancy Powell • nancy.p@dairystar.com

Karen Knoblach • karen.k@star-pub.com

Annika Gunderson • annika@star-pub.com

Cheyenne Middendorf • cheyenne@star-pub.com

Editorial Staff

Stacey Smart - Assistant Editor 262-442-6666 • stacey.s@dairystar.com

Danielle Nauman - Staff Writer 608-487-1101 • danielle.n@dairystar.com

Abby Wiedmeyer - Staff Writer 608-487-4812 • abby.w@dairystar.com

Tiffany Klaphake - Staff Writer 320-352-6303 • tiffany.k@dairystar.com

Jan Lefebvre - Staff Writer jan.l@star-pub.com

Amy Kyllo - Staff Writer amy.k@star-pub.com

Emily Breth - Staff Writer emily.b@star-pub.com

Consultant

Jerry Jennissen 320-346-2292

Advertising Sales

Main Ofce: 320-352-6303 Fax: 320-352-5647

Deadline is 5 p.m. of the Friday the week before publication Sales Manager - Joyce Frericks 320-352-6303 • joyce@saukherald.com

National Sales Manager - Laura Seljan (National Advertising, SE MN) (Western Wisconsin) 507-250-2217 • fax: 507-634-4413 laura.s@dairystar.com

Assistant Sales Manager - Kati Schafer (Northeast WI and Upper MI) 920-979-5284 • kati.s@dairystar.com

Jerry Nelson (SW MN, NW Iowa, South Dakota) 605-690-6260 • jerry.n@dairystar.com

Mike Schafer (Central, South Central MN) 320-894-7825 • mike.s@dairystar.com

Julia Merten (Southeast MN and Northeast IA) 507-438-7739 • julia.m@star-pub.com

Bob Leukam (Northern MN, East Central MN) 320-260-1248 (cell) bob.l@star-pub.com

Mark Klaphake (Western MN) 320-352-6303 (ofce) • 320-248-3196 (cell)

Deadlines

The deadline for news and advertising in the Dairy Star is 5 p.m. Friday the week before publication.

Subscriptions

One year subscription $42.00, outside the U.S. $200.00. Send check along with mailing address to Dairy Star, 522 Sinclair Lewis Ave., Sauk Centre, MN 56378. Advertising Our ad takers have no authority to bind this newspaper and only publication of an advertisement shall constitute

acceptance of the advertiser's order.

Letters

Metal debris lays strewn across a eld May 25

destruc on over 3.5 miles long.

Fifteen youngstock will remain on the farm until he can sell them as springing heifers, Gajewski said.

Gajewski evaded injury himself, having started chores early due to the forecast for severe weather.

“I started early that day because I didn’t want to chance losing power before I got done milking,” Gajewski said. “If I would have been in the barn like I usually would have at that time, I wouldn’t be here today.”

Gajewski said the weather reports made it sound like the brunt of the storm was going to stay south of

Highway 29, leaving his farm out of the path of the worst damage.

“It was getting dark out to the west, but there was really no lightning or thunder,” Gajewski said. “I went to the house and changed clothes. I came out of the laundry room, and it had started lightning. I told my son to get out of the shower because of the lightning. I went into the kitchen and all of the sudden everything outside was ying — it was like it dropped right on top of us.”

Through the chaos outside, Gajewski yelled for his son again.

“I yelled, ‘Tornado!’ and we took off for the basement,” he said. “We didn’t even get to the basement door and it was over. It was gone so fast.”

The storm left the house largely untouched. Gajewski made his way back outside, dazed, to survey the damage wreaked upon his farm in sheer seconds, only to see his barn lying in a heap.

Page 2 • Dairy Star • Saturday, June 8, 2024
nal
letters.
views
opinions expressed
Dairy Star columnists and writers are not necessarily those of the Dairy Star / Star Publications LLC. The Dairy Star is published semi-monthly by Star Publications LLC, 522 Sinclair Lewis Ave., Sauk Centre, MN 56378-1246. Periodicals Postage Paid at Sauk Centre, MN and additional mailing ofces. POSTMASTER: Send address changes to Dairy Star, 522 Sinclair Lewis Ave., Sauk Centre, MN 56378-1246. © 2023 Star Publications LLC
Letters and articles of opinion are welcomed. Letters must be signed and include address and phone number. We reserve the right to edit lengthy
The
and
by
Con nued from GAJEWSKI | Page 1 Turn to GAJEWSKI | Page 5
DANIELLE NAUMAN/DAIRY STAR
Invest in Quality ® www.kuhn.com Visit your local KUHN Hay & Forage dealer today! Farmers’ Implement Allenton, WI D & D Farm Supply Arcadia, WI Cherokee Garage Colby, WI Beaver Machine Coleman, WI Kalscheur Implement Cross Plains, WI Eron Equipment Junction City, WI Luxemburg Motor Co. Luxemburg, WI Riesterer & Schnell Shawno, WI Lulich Implement Mason, WI Lindstrom Equipment Menomonie, WI East Side Farm Equipment Monroe, WI Steinhart Farm Service Platteville, WI
near Edgar, Wisconsin. An EF1 tornado which hit May 21 le a path of Gruett’s Inc. Potter, WI Gibbsville Implement Waldo, WI Carl F. Statz & Sons Waunakee, WI Midwest Machinery Co. New Richmond, WI Osceola, WI
widths • mounted & trailed models DRY WITH THE
OF LIGHT Exclusive
®
low
and
GF 102 & 1002 SERIES | Rotary Tedders 8'6" – 25’7" working
SPEED
DigiDrive
couplers provide
maintenance
long life
Multiple options and adjustments for tedding in various crop conditions Hydraulic folding provides easy Reduce drying time with steep pitch angles and asymmetrical tines
For additional stories from our other zone, log on to www.dairystar.com Dairy Star • Saturday, June 8, 2024 • Page 3 Steer facilities ruined by May 21 storm First Section: Pages 33 - 34
WI People Moving Product Second Section: Pages 3 - 5 Manitowoc, WI What dairy products does your family consume? First Section: Pages 15 -16 FROM OUR SIDE OF THE FENCE: Inside the Emblem: Blair-Taylor FFA Chapter Third Section: Pages 8 - 9 Blair WI Women in Dairy: Liza Schlintz First Section: Page 29 Bangor, WI Knebel champions Normande genetics in US First Section: Pages 26 - 27 Arpin, WI Preventing heat stress begins in utero Second Section: Pages 22 - 23 Madison, WI McCauleys dial in feed variables Second Section: Pages 6 - 7 La Valle, WI Columnists Ag Insider Page 10 First Section P Fir Fi s Ramblings from the Ridge Page 36 First Section R f Fi The “Mielke” Market Weekly Pages 8 - 9 Second Section Veterinary Wisdom Page 37 First Section Vet V W Pa Firs From the Zweber Farm Page 38 First Section F Zwe P Fir Country Cooking Page 30 Second Section y n C S Farmer and Columnist Page 35 First Section Cracraft works with son to improve dairy operation Third Section: Pages 3 - 4 Brillion, WI Zone 2 Zone 1 “Top Chef” cooking show features Wisconsin cheese Second Section: Pages 12 - 13 Madison, WI
Gratiot,
Page 4 • Dairy Star • Saturday, June 8, 2024 FOR MORE INFO - CONTACT ONE OF THESE DEALERS... Lang’s Dairy Equipment, Inc. 2337 Millennium Rd. • Decorah, IA 52101 (563) 382-8722 295 East Main Street • Lewiston, MN 55952 (507) 452-5532 Precision Dairy Equipment 24548 IA-13 • Elkader, IA 52043 (563) 245-2560 Tri-County Dairy Supply, Inc. 4107 N US HWY 51 • Janesville. WI 53545 608-757-2697 Bob’s Dairy Supply 540 E. County Rd. A • Dorchester, WI 54425 (715) 654-5252 Eastern Iowa Dairy Systems 105 3rd Ave. NW • Epworth, IA 52045 (563) 876-3087 Farm Systems 58 Interstate Drive • Melrose, MN 56352 Brookings SD • (320) 256-3276 Leedstone 222 E Co Rd 173 SE, Melrose, MN 56352 (877) 608-3877 24260 Cty. Rd. 27 • Plainview, MN 55964 (800) 548-2540 1720 Freitag Dr. • Menomonie, WI 54751 (866) 467-4717 2580 9th St. E. • Glencoe, MN 55336 (877) 864-5575 Fuller’s Milker Center, LLC 423 U.S. 61 • Lancaster, WI 53813 900 US Hwy. 14 West • Richland Center, WI 53581 (800) 887-4634 Gorter’s Clay & Dairy Equipment 1400- 7th St. SE • Pipestone, MN 56164 (507) 825-3271 Redeker Dairy Equipment W12287 Liner Rd. • Brandon, WI 53919 (920) 346-5576 United Dairy Systems 210 N. Industrial Pkwy • West Union, IA 52175 (563) 422-5355 132 W 11th St. • Monticell, IA 52310 (319) 465-5931 Advanced Dairy LLC 9 State Rd. 29 • Spring Valley, WI 54767 (715) 772-3201 913 W. Main St. • Mondovi, WI 54755 (715) 926-5777 967 West Ave. N • West Salem, WI 54669 (608) 633-6690 2195 Hwy. 23 • Mora, MN 55051 (715) 772-3201 117 West Circle Dr. • St. Charles, MN 55972 (507) 932-4288 1449 Homecrest Ave SE • Wadena, MN 56482 (218) 632-5416 Is your IODINE Teat Dip COSTING You More? • Express has 2 germicides • Highly effective under organic load • Great marking • 6 log 15 second kill • Concentrate / Economical Pricing Available in Yellow, Blue and Green! Chlorine dioxide teat dips have a better, faster kill and are more economical! Get ready to start counting additional profits... FAST KILL RESIDUAL KILL DUAL GERMICIDE BARRIER BARRIER 112 has a greater than 99.999% Reduction of Staphylococcus Aureus & E-coli organisms! TONEOFTHESE DEALERS GERM HIGHER ROI! DIP more Cows/gal. 12% Skin Conditioners
Enjoy One Free Single Scoop Udder Brothers’ Ice Cream LANCASTER DATE: Thursday, June 20th • 12pm-2pm RICHLAND CENTER DATE: Tuesday, June 25th • 12pm-2pm If you can not make it to either event, you may redeem your coupon at Udder Brothers’ Restaurant, Boscobel through 6/30/24 Expires 6/30/24. Coupon must be given to vendor in exchange for scoop.
Thank You Dairy Farmers!

“I could hear the cows bellering in fear and pain,” Gajewski said.

In short order family, friends and neighbors descended upon the farm, helping Gajewski begin the task of saving his cows.

“News travels so fast,” Gajewski said. “I don’t know where everyone came from, but I am grateful to each person who showed up to help. We worked until about 1:30 a.m., getting the cows out of the barn.”

Gajewski said that the rst night was a sleepless one for him, after extricating the cows from the barn, and the succeeding days have been long.

“The next day I was so dang tired from picking things up, my back and legs were aching,” Gajewski said. “If you think about it, it can really get to you.”

As the clean-up process continues, Gajewski has thought about how

he will proceed. He said he wants to x up the lean-tos for shelter for the animals during the summer months. The roof on the north side of the barn is laying nice and straight, so they are going to save that to x the lean-tos so they only have to buy two-by-fours. He said depending on how much everything costs, he would like to build a heated room where the milkhouse was, to keep water running during the winter. He would also like to build housing approximately the width of the barn for the youngstock for winter.

“It just bothers me,” he said. “I had everything xed up so nice, and I was so close to selling the cows on my own terms.

After all these years, you become attached to it — the farm, the machinery, the land. It’s just the way life goes. All the years I farmed, I had certain setbacks with things. You just pick yourself up and keep going.”

Dairy Star • Saturday, June 8, 2024 • Page 5 320-836-2145 or 800-450-2145 www.famofeeds.com Check out our newly redesigned website to nd a Famo Feeds dealer near you! At Famo Feeds, we strive to provide the best support for your operation and work to accommodate your specific needs. From calf to cow and everything in between! TRUST THE EXPERTS • Milk Replacers • Starter Feeds • Protein Concentrates • Premixes • Minerals • Animal Health Products • Lick Tubs FEED THEM FAMO! Con nued from GAJEWSKI | Page 2
Jeff Gajewski

Cows eat in the new transi on barn at Heim’s Hillcrest Dairy near Algoma, Wisconsin. The tunnel-ven lated barn features automated environmental technology and houses 250 animals with dry cows on one side and fresh cows and the maternity area on the other side.

“Our driving force is to make our customers stronger and more resilient for the future,” Heim said. “We’ve built amazing relationships because we care, which opens the door for both of us to be successful.”

The Heim family is hoping to have 7,000 people at Breakfast on the Farm.

“We want to see new faces and draw people of all ages,” Heim said.

The day starts with a Catholic Mass at 7 a.m. followed by breakfast from 8 a.m. to noon.

“Our family is excited about educating the community and promoting the positive message going on in the dairy industry,” Heim said. “There is a lot of good technology and improvements for cow health and the environment, and I want to bridge the gap in helping people understand this.”

New to the breakfast this year are educational displays and demonstrations, from tile machines to race cars to tow trucks, Heim said.

“We want the opportunity for everyone that surrounds us and makes us successful to be here,” Heim said. “They are part of the community, and we want to show how they help make things better for the environment and for our cows.”

An automatic calf feeder will feed a calf every half hour, and a stall in their new transition barn will highlight ventilation features. A rain simulator will demonstrate water ltration through cover crops while a manure setup will replicate how the Heims’ system is used in the eld.

The farm’s digester company will

have a layout showing what happens to the dairy’s manure when it leaves the farm and how it helps the environment while also generating renewable natural gas. The Heims have been processing their manure through the community digester in nearby Denmark for four years.

Attendees of the breakfast will enjoy a sit-down dairy brunch featuring omelets, bread and butter, a variety of cheeses, milk, yogurt, deep-fried cheese curds, pizza and strawberry sundaes. Other activities include farm tours, horse and tractor-drawn wagon rides, a petting zoo and live music.

The transition cow barn built in 2022 will be a highlight. The tunnelventilated building features automated environmental technology. Lights, curtains and sprinklers are automatically controlled to create the ideal climate for cows.

“We hit a home run on ventilation and cow comfort in this barn,” Heim said. “It’s an extremely calm and quiet environment, and electricity usage is lower.”

The fans turn on at 10%, and lights go down to 5% at night. During the day, they typically run at 75%. Fans ramp up as needed. The original barn contained 50 fans on one end and 20 fans in the interior.

“Now we have 26 bigger fans on the end and 77 pushers,” Heim said. “We put pushers in where needed, and there’s not a dead spot in the barn. Every stall has good airow.”

Two years ago, the farm went to 24-hour care.

Turn to HEIMS | Page 7

Page 6 • Dairy Star • Saturday, June 8, 2024 www.LangeAgSystems.com Specializing in Livestock Equipment and Construction, New and Used Bagging Machines, Silage Bags, Bunker Covers and Grain Storage! Keep an eye out for our other June is Dairy Month promotions Dairy Farmers Thank you CAJune1-1B-MT Electronic Dairy Board Repair Service Specializing in: WestfaliaSurge, BouMatic, & DeLaval pulsators & Takeoffs, circuit boards, Mueller milk tank circuit boards. Call: (c) 406-590-7764 www.circuit xer.wixsite.com/ boumaticboardrepair Repair vs. Replace www.dhfieldservices.com D&HFIELD SERVICES, INC . Darrin Herickhoff 320-760-0848
Liquid Manure Handling
Solid Manure Handling
Trucking
Pushing & Packing Con nued from HEIMS | Page 1
PHOTO SUBMITTED
Martin Ag Supply LLC 3128 Mitchell Line St. Orchard, IA 50460 641-982-4845 2021 JCB 270T Skid Steer 1800 Hours, Cab Heat Air, 2 Speed, Power Detach, New Tracks and Sprockets, Selectable Controls, Air Ride Seat, Radio, Good Bucket, Runs and Drives Great $45,500 Esch hay equipment 4222 22’ working width, 10’11” transport, 540 PTO, hyd tilt / lift, lifetime warranty on arms, Heavy Duty tedder, 22’ works very good w/ 12-14’ windrowers, In Stock $11,200 Esch hay equipment 4218 18’6 working width, 540 PTO, HD drive line for HD use, hyd. fold, hyd. tilt, high tensile arms that have lifetime warranty against bending and breaking. In Stock! $8,900 Montana post driver 750R Working Weight 1380lbs, Flat Tool, 11-18 gal per min, Charge Kit, Nitrogen Bottle, Chain, 2.7” Shaft, A Fence Builders Dream, In Stock $6,800

SMART/DAIRY STAR

Bale art surrounds a Breakfast on the Farm sign May 30 at Heim’s Hillcrest Dairy near Algoma, Wisconsin. The Heim family will be hos ng the Kewaunee County Breakfast on the Farm June 16 which will feature various educa onal displays and demonstra ons, including an automa c calf feeder that will feed a calf every half hour and a stall in the farm’s new transi on barn that will highlight venla on features.

“It’s been nothing but amazing,” Heim said. “Every hour, the pre-fresh area is walked and checked, and there have been no call-ins — either to us or the vet.”

Cows freshen on a bedded pack, and mother and calf are processed immediately. Warming/cooling rooms for newborn calves are set to 55 degrees in the summer and 70 degrees in the winter.

The new barn houses 250 cows, with dry cows on one side and fresh cows and the maternity area on the other. Cows remain in the barn for up to 40 days post-calving.

The Heims are renovating the barn built in 1996 to mirror their new barn in time for the breakfast.

The Heims are technology-driven in all aspects of their operation yet hands-on in their approach. Heim said attention to detail at every level guides the farm’s success.

Creating a healthy animal has laid a foundation for improvement.

“Healthier cows are our focus over milk,” Heim said. “It’s paid huge dividends to us. A lot of people look for production, but I think that’s a mistake. Switching our focus to the health of the animal helped us greatly improve our operation.”

Heim said this healthy focus starts with healthy feed.

“We focus on feeding the crop well in order to grow a good, healthy crop,” he said. “We put organic matter back into the soil, and this healthy soil can grow a beautiful crop. You need less fertilizer, etc. as the soil replenishes itself. Doing things right in the eld turns into quality feed, and our input costs have gone down signicantly.”

Last year, the farm had no displaced abomasa and death loss was less than 3%. The Holstein herd consistently produces 4.4% butterfat and averages 90 pounds of milk per cow per day while maintaining an 80,000 somatic cell count.

Heim credits the farm’s activity

monitoring system with boosting their reproduction program.

“We went from giving over 100 shots per week for repro down to giving only three,” Heim said. “We really take care of cows on the front end and don’t need to give shots. Twenty-four-hour care has saved me so much money.”

Conservation is important to the Heim family as they work to precisely monitor manure applications, plant cover crops and employ other practices. Heim’s favorite cover crop is a four species mix of turnips, radishes, wheat and rye planted in early fall.

“It’s done amazing things for us and a couple of our customers,” Heim said. “We keep exploring our options to nd out what’s next in helping us make high-quality feed and create a better environment for our cows and people. We’re always looking at what’s next for manure application too. We want to be sustainable long-term.”

The family is working on becoming

carbon neutral by 2030.

“From cow care to cover crops, we’ve done a lot to improve already,” Heim said. “We try to stay green all the time. We’re in the process of coming up with a carbon score to decide where to go from here.”

Heim said he enjoys working with his family and considers the farm’s family dynamic to be its greatest success.

“Farming is an awesome lifestyle, and my kids love it,” Heim said. “We make decisions together as a family. They know what’s going on every day on every part of the farm and also know all the nancials.”

Much has changed at Heim’s Hillcrest Dairy since the rst time the Heim family hosted Breakfast on the Farm in 2010. Heim said what he is most looking forward to this time is showcasing the history of his family’s farm and the generations working together to make the farm sustainable and successful.

Dairy Star • Saturday, June 8, 2024 • Page 7 Jct. Hwys. 55 & 23 • Paynesville • 320-243-3736 • 320-243-7544 www.acfarmservice.com Customer Appreciation! Lunch from 11:30 - 1:30Hot Dogs, Brats & Ice Cream A&C Farm Service, Inc. LUNCH ON US! 11:30 am - 1:30 pm Everyone’s Welcome Friday, June 24, 2022 FACTORY REPS WILL BE ON SITE $100 Gift Card Drawing Thursday, June 13, 2024
Con nued from HEIMS | Page 6 STACEY

Questions answered lead to more questions

Researchers

continue to dig for answers to stop spread of HPAI

As the number of dairy farms with conrmed cases of Highly Pathogenic Avian Inuenze H5N1 continues to climb, so do the questions about how the disease is the spreading. Vigilant biosecurity continues to be the best answer for its prevention.

As of June 5, there were 82 herds in nine states — Colorado, Idaho, Kansas, Michigan, New Mexico, North Carolina, Ohio, South Dakota and Texas — with conrmed positive cases of H5N1. Three dairy farm workers — two in Michigan and one in Texas — have tested positive for the virus following exposure to infected cows. The third individual is the rst human to report more typical symptoms of acute respiratory illness associated with inuenza, according to the Centers for Disease Control and Prevention.

Dr. Kammy Johnson, a eld epi-

demiologist with U.S. Department of Agriculture’s Animal and Plant Health Inspection Service, shared in a May 23 webinar hosted by the National Milk Producers Federation.

“We have seen the spread of H5N1 between states that was potentiated by cattle movement and now we have evidence of local spread between dairy farms in some states,” Johnson said. “Spread between dairy farms is likely multi-factorial. There is nothing really conclusive, so biosecurity becomes the key to mitigating the risk of spread between farms.”

As a response to risk mitigation, May 10, the USDA announced funding to help farmers dealing with conrmed cases of H5N1 to increase biosecurity measures, provide personal protective equipment for themselves and workers, properly dispose of discarded milk and help with covering veterinarian and testing costs associated with the virus.

On May 23, the USDA announced expansion of some programs to include

all dairy farmers. Unaffected producers may receive up to $1,500 per premise to develop and implement biosecurity plans based on existing secure milk supply plans. This includes enhanced biosecurity protocols for industry workers frequenting multiple dairy farms. A $100 payment will be provided to dairy farmers who purchase and use an inline sampler for their milking system.

Up to $2,000 per premise will be reimbursed for costs associated with collecting samples for testing performed beginning April 29, in accordance with the Federal Order. The cost to ship samples will be reimbursed as well up to $50 per shipment for two shipments per month.

Information will be forthcoming about compensation available to dairy farmers to offset lost milk production due to the virus.

Dr. Tavis Anderson, a member of the virus and prion research unit with the USDA’s National Animal Disease Center in Ames, Iowa, shared in the NMPF webinar about how the virus initially infected dairy cattle and how it is spreading among dairy cattle and into other species.

“Inuenza A virus is relatively

short, with just eight gene segments,” Anderson said. “It’s an RNA virus and doesn’t have any proofreading when it replicates, so it can accrue mutations in the genome rapidly. Within an individual animal you can get co-infection, and those two viruses can exchange genetic components. What emerges is a Frankenstein virus in a process known as reassortment and we call that antigenic shift.”

Anderson explained that a surveillance structure exists for monitoring H5 viruses in other species, and that infrastructure was easily deployed as researchers began trying to unravel how H5N1 found its way into dairy cattle. He said their rst question was whether it was a single spillover.

“Did it come from a person, a pig?” Anderson said. “Was it out there in wild bird origins? Once into dairy cattle, was it multiple times? This is the unknown right now. There is a lot of active research trying to understand if dairy cattle are going to be plugged into the general inuenza ecology or remain an unusual host event.”

Page 8 • Dairy Star • Saturday, June 8, 2024 320-200-1221 Visit us at www.justinaddy.com Avon, MN Covering MN, SD, IA, & WI Drink Milk Graduate of the Dairyland Hoof Care Institute Proud member of We do wide grooving and mini grooving Help keep your cows safe. Hoof trimming since 2003 WE OFFER COMPLIMENTARY: UDDER SINGEING TAIL TRIMMING Keep your cows cleaner, healthier & save time! CALL FOR ALL YOUR CONCRETE GROOVING NEEDS June is Dairy Month! Thank you farmers Blue Hilltop, Inc. Dana Berreau 507-879-3593 / 800-821-7092 Box 116, Lake Wilson, MN 56151 Your Mixer, Spreader, Hay Processor Headquarters We carry:
Turn to H5N1 | Page 11
Got something to sell? Try the Classieds.

Revolutionizing the way dairy cows are fed

Friendshuh launches FODD 3.0 to market

AMERY, Wis. — Feeding dairy cattle is possibly the most important, and potentially the most expensive, act on a dairy farm, with little room for error.

Greg Friendshuh has developed a system that he believes could revolutionize feeding dairy cattle.

“This machine is going to have an impact on the lives of many people, on many dair-

ies,” he said. “It will have an impact on the feed industry overall. How honored am I (to be ) the one to steward it forward.”

The FODD 3.0 is the newest version of the original prototype that Friendshuh has been developing on his farm for four years.

“This system allows us to separate corn silage into high-starch nes and lowstarch fodder,” Friendshuh said. “That allows us to feed more corn silage, which lowers feed costs and creates

A pile of silage lies in front of the FODD 3.0 May 16 at Friendshuh Farms near Amery, Wisconsin. The FODD 3.0 consists of a hopper and a rolling trommel, which can separate 60 tons of silage in ve hours.

Friendshuh shares the story that led to the crea on of the

Farms near Amery, Wisconsin. The FODD 3.0 separates silage par cles allowing

to be er u lize the starch in corn silage.

more milk, all with less work. The cows don’t have to eat more to make more milk. The FODD helps them be more efcient at making milk.”

Friendshuh milks 1,250 cows near Amery.

The FODD 3.0 has been in use since February. His herd is averaging 107 energycorrected pounds of milk per day, and he is shipping 7.42 pounds of combined fat and protein.

Using the FODD 3.0, the Friendshuhs separate 60 tons of corn silage into nes and fodder daily, a process that takes approximately ve hours.

The nes are used to make the lactating cow ration. Half the fodder produced is fed to the dry cows, and the other half is fed to the heifers.

“If I had a dairy without

youngstock, I would probably sort enough fodder to feed the dry cows and the nes would go to my earlier lactation cows, trying to get their peaks up,” Friendshuh said. “Once they get past about 150 days, you can put them on a corn silage diet, and they would have the capacity to eat enough.”

Turn to FODD | Page 12

Dairy Star • Saturday, June 8, 2024 • Page 9 THE NATION’S LEADER IN AGRICULTURAL CONCRETE (920) 948-9661 | www.pippingconcrete.com dennis@pippingconcrete.com 37+ years in business | U.S. Navy Veteran owned dennis@pippingconcrete.com
DANIELLE NAUMAN/DAIRY STAR Greg FODD 3.0 May 16 at Friendshuh producers DANIELLE NAUMAN/DAIRY STAR

TOOTHSOME

Feed quality fit for a king! Discover KP Rolls that crank out the goods. Good feed. Good money.

Another dairy farmworker contracts H5N1

H5N1 has been conrmed in a third farmworker. This is the second human case in Michigan and is part of the multistate outbreak in dairy cattle. This individual had minor respiratory issues and was treated with antiviral medication. The Centers for Disease Control and Prevention advises dairy farmworkers to use personal protective equipment as a biosecurity precaution. The virus has been identied in 66 dairy herds in nine states.

Testing identies H5N1 in one meat sample

The U.S. Department of Agriculture’s Food Safety and Inspection Service reports H5N1 has been conrmed in meat tissue from one dairy cow. Tests were conducted on 96 dairy cull cows; 95 cows tested negative. USDA emphasized none of the meat from any of these dairy cattle entered the food supply. Consumers are reminded to cook meat to the proper temperature.

55” Panel Fans

to start to build a bipartisan coalition that can get this bill through the oor of the House. There are a lot of Republicans that are going to vote against this on the oor, so we’re going to need 20, 30 Democrats at least to get this bill passed.”

Working out the funding gap

USDA launches pilot program to protect animal ag sector

Agriculture Secretary Tom Vilsack has approved an additional $824 million in emergency funding to respond to H5N1 in the U.S. dairy herd. The money will launch a new voluntary pilot program to give dairy farmers more options to monitor the health of their herds. The money will be used to support additional surveillance and testing. Farmers who enroll in this program and demonstrate their herd is free of the virus will be able to ship their cows without testing individual animals. USDA is now identifying states that will be part of this pilot program.

Stockpiling vaccine

The House Committee on Agriculture bill suspends Section 5 of the Commodity Credit Corporation Act, limiting the agriculture secretary’s authority to use CCC funds. Chairman Glenn “GT” Thompson plans to use those savings to increase reference prices. The Congressional Budget Ofce has disagreed with the Grand Old Party staff about those budget savings. Minnesota Representative Michelle Fischbach is a member of the Budget Committee, working to ensure the CBO scores are accurate. “There are issues with some of the CBO scores because we need to make sure that we’re paying for everything great that we’ve done in the farm bill, and so we’re working with CBO to make sure that they understand how things need to be scored so we can pay for that bill.”

SD continues to add to its dairy herd

April milk production totaled 19 billion pounds nationwide. That’s down 0.4% from one year ago. In South Dakota, milk production rose 12.3% with the addition of 23,000 cows. Minnesota milk output was down a fraction of 1% with cow numbers dropping 8,000 head.

Increased protability for water quality-certied farms

The U.S. is taking steps to acquire vaccines to protect at-risk poultry and dairy workers. Veterinarians and lab technicians could be eligible for H5N1 vaccines. The move is seen as a way to limit the threat of a pandemic. The CDC said the decision to use vaccines will depend on reports of more cases or the severity or mutations of the virus. Other governments are also considering plans to stockpile vaccines.

House Ag Committee passes farm bill

Farmers in the Minnesota Agricultural Water Quality Certication Program have higher prots than non-certied farms. AgCentric Executive Director Keith Olander attributed the protability to their management characteristics. “We have over 100 producers that are agricultural water quality-certied that span the state of Minnesota, and they are also part of farm business development,” he said. “We have developed a ve-year run of the economics of those producers. They are outperforming their peers on a regular basis.”

Certied farms had an average net cash income of nearly $214,000 compared to $163,000 for noncertied farms. Certied farms also had better debtto-asset and operating expense ratios.

BWSR grant funds available

• The highest air ow in a circulation fan - 33,900 CFM.

• Cast aluminum blades have a lifetime warranty.

• Totally enclosed maintenance free, high ef ciency motors have a full two year warranty.

Model VP CA: Belt Drive, 1 HP, 115/230 volt, 9.6/4.8 amps single phase one speed 587 rpm

In a marathon hearing that started at 11 a.m. and wrapped up after midnight, the House Agriculture Committee passed the farm bill on a 33-21 vote. All 29 Republican members of the committee and four Democrats voted for the farm bill. There was a fair amount of partisanship during the debate over spending priorities and the nutrition title. House Committee on Agriculture Chair Glenn “GT” Thompson defended his work. “I’ve had no alternative solutions for funding submitted from the Democratic side of the aisle other than the $5 billion on the Senate side, so my door is open and I am more than happy to work,” Thompson said. “The only reason the pay-fors have not been bipartisan is because, quite frankly, the Democratic Party hasn’t been at the table. Please come to the table, or we’re not going to see all these great new innovations.”

“Pay-fors” are items that would be used to offset the cost of other farm priorities. In a statement after the vote, Ranking Member David Scott said the bill may have advanced out of the committee, but it will not have the votes needed when it comes to the House oor.

Collin Peterson, farm bill optimism

Former House Committee on Agriculture Chair Collin Peterson sees a path forward for the farm provisions of the bill. “The way the debate happened did not put anybody into any corners that they couldn’t get out of,” Peterson said. “Most of the divisiveness was over how to pay for this. It was over food stamps. It was over the sideboards on conservation. It was over the Commodity Credit Corporation. Those are things I think can be worked out.”

It will likely be September before this bill advances to the House oor. Peterson, who now leads the Midwest Council on Agriculture, said more work will happen ahead of that vote. “The fact that we got four Democrats that voted for the bill gives us a place

The Minnesota Board of Water and Soil Resources is providing $6.4 million to soil and water conservation districts to support soil health projects. The Soil and Water Conservation Districts can request funding through July 2. The money can be used to help landowners implement conservation practices or for outreach and education projects.

First-in-class methane reducing feed Ingredient gets FDA approval

For the rst time, the Food and Drug Administration has approved a feed ingredient for dairy cattle that will reduce methane emissions. Elanco Animal Health already has approval for Bovaer in Canada and Mexico. This product suppresses the enzyme in the cow’s rumen that forms methane. One tablespoon of Bovaer per lactating dairy cow per day can reduce methane emissions by 30% per year.

Trivia challenge

National Milk Month, which was the precursor for June Dairy Month, began in 1937. That answers our last trivia question. For this week’s trivia, when is National Ice Cream Day? We will have the answer in our next edition of Dairy Star.

Don Wick is owner/broadcaster for the Red River Farm Network of Grand Forks, North Dakota. Wick has been recognized as the National Farm Broadcaster of the Year and served as president of the National Association of Farm Broadcasting. Don and his wife, Kolleen, have two sons, Tony and Sam, and ve grandchildren, Aiden, Piper, Adrienne, Aurora and Sterling.

Page 10 • Dairy Star • Saturday, June 8, 2024
717.844.9069 | New Holland, PA
133 Atlantic Ave. NE • Pennock, MN 320-599-4466 NEW High Pressure Fog Ring Now Available

TOOTHSOME

Feed quality fit for a king! Discover KP Rolls that crank out the goods. Good feed. Good money.

Another dairy farmworker contracts H5N1

H5N1 has been conrmed in a third farmworker. This is the second human case in Michigan and is part of the multistate outbreak in dairy cattle. This individual had minor respiratory issues and was treated with antiviral medication. The Centers for Disease Control and Prevention advises dairy farmworkers to use personal protective equipment as a biosecurity precaution. The virus has been identied in 66 dairy herds in nine states.

Testing identies H5N1 in one meat sample

USDA’s Food Safety and Inspection Service reports H5N1 has been conrmed in meat tissue from one dairy cow. Tests were conducted on 96 dairy cull cows and 95 cows tested negative. USDA emphasized none of the meat from any of these dairy cattle entered the food supply. Consumers are reminded to cook meat to the proper temperature.

717.844.9069

55” Panel Fans

they couldn’t get out of,” said Peterson. “Most of the divisiveness was over how to pay for this. It was over food stamps. It was over the sideboards on conservation. It was over the CCC. Those are things I think can be worked out.” It will likely be September before the bill advances to the House oor. Peterson, who now leads the Midwest Council on Agriculture, said more work will happen ahead of that vote. “The fact that we got four Democrats that voted for the bill gives us a place to start to build a bipartisan coalition that can get this bill through the oor of the House. There are a lot of Republicans that are going to vote against this on the oor, so we’re going to need 20, 30 Democrats at least to get this bill passed.”

Wisconsin adds to dairy herd April milk production in Wisconsin totaled 2.7 billion pounds. That’s 2% more than one year ago. The size of Wisconsin’s dairy cow herd is up 4,000 head from the previous year.

USDA launches pilot program to protect animal ag sector

Agriculture Secretary Tom Vilsack has approved an additional $824 million in emergency funding to respond to H5N1 in the U.S. dairy herd. The money will launch a new voluntary pilot program to give dairy farmers more options to monitor the health of their herds. The money will be used to support additional surveillance and testing. Farmers who enroll in this program and demonstrate their herd is free of the virus will be able to ship their cows without testing individual animals. USDA is now identifying states that will be part of this pilot program.

Stockpiling vaccine

Dairy Month recognized by Evers Wisconsin Governor Tony Evers kicked off June Dairy Month with his weekly radio address. Evers said he is proud of his administration’s work in supporting the dairy industry. “I’ve signed legislation to advance our state’s agriculture export program, including funding explicitly targeted at promoting dairy products,” he said. “We’ve also invested in key programs and projects like the Dairy Innovation Hub and the Center for Dairy Research at the University of Wisconsin-Madison.” Evers said dairy is in the DNA of Wisconsinites.

Scout early and often for alfalfa weevil

The United States is taking steps to acquire vaccines to protect at-risk poultry and dairy workers. Veterinarians and lab technicians could be eligible for H5N1 vaccines. The move is seen as a way to limit the threat of a pandemic. The Centers for Disease Control and Prevention said the decision to use vaccines will depend on reports of more cases or the severity or mutations of the virus. Other governments are also considering plans to stockpile vaccines.

House Ag

Committee passes farm bill

Large populations of alfalfa weevils are being seen this year. CROPLAN Alfalfa and Forage Specialist Jeff Jackson credits this to the mild winter. “When it stays relatively nice, we don’t have as many bugs die over the winter,” Jackson said. “That insect can hatch from fall and springlaid eggs, so you get two hatches of weevils.” Jackson recommends scouting early and often to stay ahead of this pest. “If you have a heavy infestation before you cut, they can eat those buds fast enough so that you won’t see regrowth,” he said. “My recommendation is to be pre-scouting before you cut so that you understand what is there and can manage it when it comes off.”

• The highest air ow in a circulation fan - 33,900 CFM.

• Cast aluminum blades have a lifetime warranty.

• Totally enclosed maintenance free, high ef ciency motors have a full two year warranty.

Model VP CA: Belt Drive, 1 HP, 115/230 volt, 9.6/4.8 amps single phase one speed 587 rpm

In a marathon hearing that started at 11 a.m. and wrapped up after midnight, the House Agriculture Committee passed the farm bill on a 33-21 vote. All 29 Republican members of the committee and four Democrats voted for the farm bill. There was a fair amount of partisanship during the debate over spending priorities and the nutrition title. Agriculture Committee Chair Glenn “GT” Thompson defended his work. “I’ve had no alternative solutions for funding submitted from the Democratic side of the aisle other than the $5 billion on the Senate side, so my door is open, and I am more than happy to work,” said Thompson. “The only reason the pay-fors have not been bipartisan is because, quite frankly, the Democratic Party hasn’t been at the table. Please come to the table, or we’re not going to see all these great new innovations.” “Pay-fors” are items that would be used to offset the cost of other farm priorities. In a statement after the vote, Ranking Member David Scott said the bill may have advanced out of the committee, but it will not have the votes needed when it comes to the House oor.

Collin Peterson, farm bill optimism

Former House Agriculture Committee Chair Collin Peterson sees a path forward for the farm provisions of the bill. “The way the debate happened did not put anybody into any corners that

First-in-class methane reducing feed ingredient gets FDA approval

For the rst time, the Food and Drug Administration has approved a feed ingredient for dairy cattle that will reduce methane emissions. Elanco Animal Health already has approval for Bovaer in Canada and Mexico. This product suppresses the enzyme in the cow’s rumen that forms methane. One tablespoon of Bovaer per lactating dairy cow per day can reduce methane emissions by 30% per year.

Trivia challenge

National Milk Month, which was the precursor for June Dairy Month, began in 1937. That answers our last trivia question. For this week’s trivia, when is National Ice Cream Day? We will have the answer in our next edition of Dairy Star.

Don Wick is owner/broadcaster for the Red River Farm Network of Grand Forks, North Dakota. Wick has been recognized as the National Farm Broadcaster of the Year and served as president of the National Association of Farm Broadcasting. Don and his wife, Kolleen, have two sons, Tony and Sam, and ve grandchildren, Aiden, Piper, Adrienne, Aurora and Sterling.

Page 10 • Dairy Star • Saturday, June 8, 2024
| New Holland, PA
133 Atlantic Ave. NE • Pennock, MN 320-599-4466 NEW High Pressure Fog Ring Now Available

Anderson said that all data of anything infected with H5 inuenza over the past four years is being compared to over 220 inuenza viruses isolated in dairy cattle from March through the end of April.

“One of the silver linings here is that it was a single spillover rather than multiple wild bird viruses getting into dairy cattle,” Anderson said. “We were able to date when that happened – approximately the end of December, give or take a couple weeks. That means there was essentially relatively limited local transmission, and (it) sort of bubbled away in dairy cattle for a couple of months, to that time and place where it spread relatively rapidly and was able to be noticed by producers and veterinarians in 2024.”

Anderson said he and his fellow researchers wondered whether there was anything unique about this virus that may have facilitated the interspecies transmission.

“All of the mammalian detections of H5 over the last four years have reected what was circulating in wild birds, with viruses spilling over into mammals, then dead-ending,” Anderson said.

He said this process has happened over 100 times in the last four years, across 20 mammalian species. What was unique in this case he said was that there was a rarely detected virus out there in wild birds that had reassorted and accrued two different gene segments.

“That really rare virus is the one that got into dairy cattle,” Anderson said. “It truly was a very rare event, and it was that reassortment just prior to spillover

at the end of 2023 that seems to have changed the phenotype of the virus, prior to it getting into dairy cattle.”

Anderson shared how it went from a single, conrmed case to hundreds.

“Animals are moved in modern agriculture, and unfortunately if they are infected with a virus, that virus is moved as well,” Anderson said. “Animals without any overt clinical symptoms were moved from Texas. That initial movement seeded three distinct epidemiological clusters; within those distinct clusters you can see movement across state boundaries and within locations as well.”

Anderson said concern remains that the virus found in dairy cattle may be evolving into something slightly different from that initial spillover from wild birds. More than 10 transmissions from cattle to other species such as poultry, cats, birds and other peridomestic animals such as raccoons have occurred.

“Additional experimentation is required to understand what is driving that transmission, whether it is people, shared water, food or contaminated surfaces,” Anderson said. “The more virus that is out there, the more probable you are to detect these interspecies transmission events.”

Anderson said that while the virus is moving from cattle to other species, there does not appear to be major changes going on in the virus at this time.

“The longer this persists in dairy cattle, the more potential there is for these types of mutations to emerge, and then sweep through that population,” Anderson said.

Dairy Star • Saturday, June 8, 2024 • Page 11 320-808-3936 300 E Main St. Osakis, MN 320-859-5340 Visit us online at www.osakissilo.com 24 Hours 7 Days A Week Call Anytime The Best Service Crews, The Best Replacement Parts, The Best Service... That’s The Osakis Silo Advantage To You!!! EVERYTHING SILO CALL TO SCHEDULE YOUR PROJECTS TODAY!
Con nued from H5N1 | Page 8
Sauk Centre, MN Buffalo, MN 763.682.1091 www.mndhia.org DHIA: Now MORE than ever Minnesota DHIA would like to salute dairy producers for producing a quality product and thank the industry professionals that provide support and encouragement to our customers! Dairy Producers! Thank you Quality Consistency KLC Farms Roasting, Inc. 320-352-3326 Visit www.roastedbeans.com Preferred By Bovines Everywhere Guess where your feed dollars are going? Our soybeans have the energy, protein, amino acids and bypass protein for your cows! Incorrectly roasted soybeans?

By feeding fodder to dry cows, Friendshuh has noticed an increase in dry matter intake of over 2 pounds per cow, pre- and post-fresh. That increase benets the cows through the transition period, with less susceptibility to metabolic issues.

“Corn silage is the most consistent feed on the dairy, but it’s really very inconsistent,” Friendshuh said. “With the FODD, you take that corn silage and run it through a process, and pretty soon, you have homogenized corn silage. Cows love that consistency. Eliminating the variables at the bunk has a big impact. They can’t sort anymore. … Our milk has climbed, and our metabolics are nearly perfect.

Friendshuh said he feeds dual-purpose and hybrid varieties of silage rather than brown mid-rib.

Jim Smith, dairy strategic accounts manager for Pioneer, said the end result of a silage harvest can only be as good as the growing season allows it to be.

“Corn silage is great, but once that pile is there, you’ve got to feed it,” Smith said. “If it’s not good corn silage, you’re going to be ghting it all year, and it’s going to get expensive from a cow health standpoint, milk production, feed costs — everything.”

Smith said FODD 3.0 is a

tool that can help dairy farmers manage the variability that arises from environmental conditions affecting their corn silage each year in a way that was not previously available.

The idea for the system was born during a conversation Friendshuh had with his nutritionist, Keith Sather, in 2019.

“Feeding straw was a pain point,” Friendshuh said. “Straw was expensive, hard

to nd and when you did nd it, the quality was poor. We started looking for an alternative. How many times do we have bad bales of straw that get chopped up and we don’t even know about it? This eliminates that factor.”

The idea was to separate the particle sizes of corn silage, eliminating the need for straw in the dry cow and heifer diets.

Turn to FODD | Page 13

DANIELLE NAUMAN/DAIRY STAR

(Le ) The hopper of the FODD 3.0 is loaded with corn silage May 16 at Friendshuh Farms near Amery, Wisconsin. Greg Friendshuh began working to create a system to be er ulize his corn silage in 2019.

(Below) A pile of nes collects beneath the rolling trommel of the FODD 3.0 May 16 at Friendshuh Farms near Amery, Wisconsin. The ne par cles provide lacta ng cows with more energy.

Page 12 • Dairy Star • Saturday, June 8, 2024
Con nued from FODD | Page 9

Silage is separated into nes (le ) and fodder (right) May 16 by the FODD 3.0’s rolling trommel at Friendshuh Farms near Amery, Wisconsin. Greg Friendshuh feeds the lower starch fodder to dry cows and heifers, reserving the higher starch nes for his lacta ng cows.

“The FODD today makes my life easy; everything is consistent now,” Sather said. “We are feeding the dry cows and heifers predominantly with the fodder. That was the focus: to get to the point where we didn’t have to feed straw. We’re there now. We accomplished that goal.”

By being able to manipulate the amount of starch available through the nes and the fodder, Sather said the result is a healthier diet for all animals on the farm.

“We have taken corn silage that was 32% starch and we’re feeding the cows with nes that are 37%-38% starch, so we can have more forage and less concentrate going into the diet,” Sather said. “The nes make an awesome lactating feed, and we’re seeing a fast track to peak milk.”

The FODD allows dairy farmers to improve upon their corn silage crop, no matter how good or bad it might be.

“Where I would love to have a FODD machine to work with is a year like last year when we had really tough weather in the area and I am feeding a silage that is 28% starch,” Sather said. “If I had a FODD machine, I could boost the starch content of that corn silage, and it would make feeding those

cows much easier.”

Between decreased feed costs and increased production, the FODD 3.0 could help the bottom line of a dairy farm, said Tim Swenson, of Swenson Management Service LLC.

“This could be a real game-changer,” Swenson said. “The average net income per cow in Wisconsin and Minnesota is about $350 per cow. If we can add another $200 per cow, we’ve changed that prot level substantially.”

Friendshuh estimates feed savings on-farm to be $175 per cow, based on how his ration using the FODD compares to prior rations. On the conservative side, he estimates production to be up over 2 pounds per cow per day. He estimates the payback on the installation of a FODD 3.0 to be under two years, depending on herd size.

“I get excited about this system; it has simplied our dairy, streamlined our operations and made it a more robust system,” Friendshuh said. “This has the potential to change our industry by how we feed our cattle. … It is going to have an impact on good and average corn silage, but the greatest impact will be in those pain years with poor corn silage.”

Dairy Star • Saturday, June 8, 2024 • Page 13 THAT'S THE HIXWOOD DIFFERENCE Quality craftsmanship. Outstanding service. Find the right post-frame solution for your business or operation from Hixwood. Give us a call or visit us online today. 715-644-0765 | HIXWOOD.COM June2024Calf Workshop
Hosted by: LunchProvided
RegisterbyQRCodeorby Phone(608)-269-1515 Hosted by: RegisterbyQRCodeorby Phone(608)-269-1515
Grain Intake in Pre-weaned Calves
Dave Lindevig , Dairy Nutritionist Vaccines and Antibiotic Usage in Calves
Dr. Luke Trapp
John
in Calf Raising
Rupert www.brynsaas.com Variety of Manure Pumps and Tanks All on Hand! 1660 Jordan West Rd., Decorah, IA 563-382-4484 Supreme 900T $31,500 2023 Fair Mfg 7830TD $42,000 Kuhn Knight 8141 $24,500 2020 GEA 52’ $39,500 2013 GEA 9’ $12,500 GEA 1700 $72,000 VERTICAL TMRS LLC
Sparta,WIJune11,2024 11:00AM-2:00PM AlmaCenter,WIJune12,2024 11:00AM-2:00PM LunchProvided TransportationAvailable
TransportationAvailable
Registration 10:30 am -11:00 am Managing
-
-
& Dr.
Borzillo Profitability
- Jake
DANIELLE NAUMAN/DAIRY STAR
Con nued from FODD | Page 12

from our side our side OF THE FENCE THE

What dairy products does your family consume?

Crystal Johnson Osseo, Wisconsin

Trempealeau County 90 cows

What dairy products does your family consume within a week? We use three or four 8-ounce blocks of cream cheese, up to 2 pounds of butter, 24 ounces of sour cream, 1-2 gallons of milk, and when I buy yogurt, it never goes to waste. We use lots and lots of cheese: shredded, string and blocks. We are not picky. A 3-pound tub of cottage cheese does not last long around here either. Ice cream is hit or miss depending on the season, but bowls of ice cream, root beer oats and shakes are family favorites.

What is your favorite meal to make that incorporates dairy products? I have an easy lasagna recipe that uses cottage cheese and lots of cheese that is quick to throw together and a family favorite. I also love anything with cream cheese.

What is your favorite dairy product to splurge on? We do love specialty cheese, but a regular splurge is heavy whipping cream. I love to have it around to add a splash to this or that.

What is one way you help promote dairy products? I go through seasons where I like to try new recipes. Most of the time, there are dairy products involved, and when the recipe is a win for my family, I like to share the recipes with friends and family.

What is a memory you have of enjoying dairy products as a family or from your childhood? Our kids have projects in the Trempealeau County Fair, and a highlight of the fair is enjoying the Farm Bureau's milkshakes. It's often a contest to see who can take in the most milkshakes over those several days. While they do have a budget for food during the course of the fair, they don't mind bringing their own funds to purchase multiple milkshakes.

If you had to put together a dairy promotion, what would it be and how would you implement it? People are attracted to information-sharing comparisons using their senses. Demonstrating the differences in milk compared to nut juices, health drinks or other comparable products is valuable and quite educational. Having a display with opportunities for people to see the difference (for example, the amount of sugar of various products measured out for people to see) and allowing them to taste the difference are great ways to engage people while educating them on the benets of dairy products.

Tell us about your farm. We are on my husband's family's dairy farm. He dairy farms along with his oldest brother and dad. The dairy milks about 90 cows in a double-5 parlor. We keep our bull calves and nish them as steers, while we use the heifers as replacements. Our four kids (ages 5-15) also help when they can around extracurricular activities. In the past few years, we have started a growing herd of beef cattle.

Stacy (from left), Allison, Megan and Dale Limberg Plymouth, Wisconsin

Sheboygan County

75 cows

What dairy products does your family consume within a week?

The products we use on a daily basis include milk (3 gallons a week), cheese — grated, shredded, cut up or spread (5 pounds a week), butter (2 pounds a week), yogurt (4 pounds a week) and ice cream (1 gallon a week). We also use cottage cheese, ricotta cheese and cream cheese at different times.

What is your favorite meal to make that incorporates dairy products? I have two favorite recipes my family loves that incorporate dairy products. The rst is homemade mac and cheese with freshly shredded cheese, milk and butter. The second recipe is homemade lasagna. We use freshly shredded mozzarella cheese (lots of it) and ricotta cheese.

What is your favorite dairy product to splurge on? We love to splurge on Culver's ice cream.

What is one way you help promote dairy products? I promote dairy by sharing what is going on at our farm on Facebook. It might be good things or hard times, but that way, people who don’t live on a farm see that our line of work is not always easy or fun. I also like talking to people in the public. I like it when people I know ask me a question about our industry versus Googling it on the internet. I also previously spent six years on the Sheboygan County Dairy Promotions Board. We love talking to people in the dairy barn when my daughter shows dairy animals at the Wisconsin State Fair and the Sheboygan County Fair.

What is a memory you have of enjoying dairy products as a family or from your childhood? As a family in the summer, we love to go to Kelly's Country Creamery or Hamburger Haus in Dundee for ice cream and family time.

If you had to put together a dairy promotion, what would it be and how would you implement it? If I had the ability to do more dairy promotion, I would like to go into schools with cheese samples and information packets for the kids to take home to their parents. I would ask cheese places to donate some of their product to get the word out to families about the different cheeses and the nutritional value that comes from eating cheese.

Tell us about your farm. My husband, Dale, and I own and operate his family's dairy farm. We are the third generation with plans for our youngest daughter, Megan, to become the fourth generation. She graduates in June and plans to continue farming alongside us. Our oldest daughter, Allison, goes to college in Arizona. We have one full-time employee who has been with us for many years. We milk 75 cows and raise approximately 50 heifers for replacements. Our milk is shipped to Sartori Cheese in Plymouth. We run 250 acres of land and grow corn, soybeans, alfalfa and oats. We also plant cover crops in the winter to protect the soil. Our family loves to be hands-on in every aspect of our farm.

Bonduel, Wisconsin

Shawano County

275 cows

What dairy products does your family consume within a week? We go through 6-8 gallons of milk a week and a pound or two of shredded cheese. We also go through a decent amount of yogurt and some sour cream and cream cheese.

What is your favorite meal to make that incorporates dairy products? Pizza would be the crowd favorite in our house.

What is your favorite dairy product to splurge on? Dairy Queen Blizzards would be our splurge item.

What is one way you help promote dairy products? I like to share our milk plant’s Facebook posts that highlight the awards they win with their cheeses.

What is a memory you have of enjoying dairy products as a family or from your childhood? My favorite memory is when Campbell’s truck used to stop at the house when I was a kid, and we would get ice cream bars from him.

If you had to put together a dairy promotion, what would it be and how would you implement it? I would say highlighting snacking cheeses out there and getting them into schools would be a good promotion.

Tell us about your farm. Our farm is a third-generation dairy that focuses on efciency and sustainability. In the past few years, we have been using technology to do that. We take pride in making cows that are healthy, look nice, and produce well. My wife, Kaci, and I currently run the farm with my aunt and uncle, Deb and Tom Wolf. We also have a couple of full- and part-time employees that help us with daily chores and milking. All our animals from birth to lactating stay in our facilities and are cared for by our staff and us. Our milk is shipped to BelGioioso Cheese.

Turn to OUR SIDE | Page 16

Gary (front, from left) and Lorraine; (back, from left) Tom, Deb, Hayley, Kaci holding Graham, Allan holding Declan Wolf Wolf Farms, LLC
Dairy Star • Saturday, June 8, 2024 • Page 15
www.norbco.com 67962 State Hwy 55, Watkins, MN 55389 • 320-764-5000 MA KING COW COMFORT OUR PRIORITY Curtain SystemsVentilation SystemsFreestall SystemsHeadlocks

Emily (front, from left), Claire, Jeff, Julie, Hannah; (middle, from left) Noah and Luke; (back, from left) Aaron holding Cameron, Brittany, Ashley, Tom, Austin and Andrew Nimtz Monticello, Wisconsin Green County 50 registered Holstein cows

What dairy products does your family consume within a week? We consume 6 gallons of whole milk; 7-10 pounds of cheese, glorious cheese, including shredded cheese, sliced cheese, cream cheese and cheese sticks (we have cheese pretty much for every meal); 8-10 single-serve yogurt containers; a 5-quart pail of ice cream; 2 pounds of butter; and 2-3 pounds of milk chocolate.

What is your favorite meal to make that incorporates dairy products? Our favorite meal is lasagna made with lots and lots of cheese of all varieties along with cheesy garlic bread.

What is your favorite dairy product to splurge on? Ice cream, shakes, smoothies and ice cream sandwiches. Jeff could eat ice cream after every meal.

Jacob (front, from left) and Olivia; (back, from left), Monica, Bradley and Brian Enyart

Postville, Iowa

Allamakee County

130 cows

What dairy products does your family consume within a week? We consume a lot of dairy products: 8 gallons of milk, 12 1-serving containers of yogurt, 2 pounds of cheese, 8 ounces of sour cream, 48 ounces of cottage cheese, 1 gallon of ice cream and miscellaneous other dairy products.

What is your favorite meal to make that incorporates dairy products? Homemade macaroni and cheese. We basically top all of our meals with cheese. We also love lasagna.

What is your favorite dairy product to splurge on? Ice cream. We love to have ice cream at home, and we like to treat ourselves to ice cream from WW Homestead Dairy in Waukon, Iowa.

What is one way you help promote dairy products? I love sharing our story online. I recently started a Facebook page and have been sharing our farm on there and on my personal page. It is important to share our story with others to show others how we care for the land and the animals. I also share our favorite dairy products and recipes as well as tips and facts about farming. It is my hope

What is one way you help promote dairy products? We love to sponsor milk and other dairy products for school sports events, church fellowship hours and potlucks. The best promotion a person can do is talk to others about our wholesome products and consume them yourself — lead by example.

What is a memory you have of enjoying dairy products as a family or from your childhood? We love to cool down with an afternoon snack of ice cream. And again after a long day of haying, we love to have a big bowl of refreshing ice cream.

If you had to put together a dairy promotion, what would it be and how would you implement it? We feel one of the best ways to promote dairy products is by hosting Breakfast on the Farm or another June Dairy Month on-farm event. We have hosted Green County’s Breakfast on the Farm twice now — once in 1999 and again on May 25, 2024. We start with offering refreshing wholesome milk to drink, followed by coffee cake made with sour cream, cubed cheese of many varieties, ice cream sundaes and samples of different yogurts, along with scrambled eggs and sausage.

Tell us about your farm. Our farm consists of 184 acres where we raise all our own feed. Jeff plants 80 acres of alfalfa and 50 acres of corn as well as 20 acres of pasture. We have a total of 100 registered Holstein animals on the farm, including 50 milking cows with a rolling herd average of 21,000 pounds of milk. We ship our milk to Klondike Cheese in Monroe. We also have two chickens and two St. Bernard dogs. Jeff does all the day-to-day milking and chores. Julie helps with chopping, baling, chores, milking as needed and all the bookwork. Our adult children help as needed on the farm as well.

to connect others a little better with their food and give people a place to ask questions and learn more about where their food comes from.

What is a memory you have of enjoying dairy products as a family or from your childhood? Monica: I will forever remember the days of promoting the dairy industry as a patron of Wisconsin Dairies. My family and a few others spent many summer parades promoting the dairy industry, handing out cheese sticks. We got to have the rst of the cheese sticks and had a ton of fun doing it. Many times, after parades, we got to enjoy an ice cream treat for our hard work. As a family, we like to support the dairy stands at fairs and the state fair. We like to see what products they are offering and what kind of ice cream they sell.

If you had to put together a dairy promotion, what would it be and how would you implement it? One thing we are working on in our county this year is sharing more about the dairy farmers in our county. On Facebook, you can nd Allamakee County Dairy Royalty and Dairy Promotion. Our princess will be sharing stories from dairy farmers to introduce dairy farmers to others in our area. It is our hope that these stories will not only reach our county but far beyond to show anyone who sees it the hard work dairy farmers are doing to get them a good, quality product.

Tell us about your farm. Enyart Dairy is a fourth-generation farm owned and operated by Brian and Monica Enyart of Postville, Iowa. We have been farming together for the past 18 years and were both raised on dairy farms in Allamakee County. We have three children, Olivia, Bradley and Jacob, who are active and help regularly on the farm. We milk 130 cows and raise all replacement heifers on the farm. We also farm approximately 750 acres of corn, soybeans and alfalfa, allowing us to raise all our feed. We have a double-8 parallel parlor with a 130-cow freestall barn. We ship our milk to Wapsie Valley Creamery Inc. where it is made into cheese and sold privately to companies.

Page 16 • Dairy Star • Saturday, June 8, 2024 Con nued from OUR SIDE | Page 15 Your Leading Supplier of Manure Handling Equipment in Southern Minnesota Your Yo FEATURING OUR CUSTOM DESIGNED, QUALITY BUILT, AND FASTEST OFFLOADING TANKER TRAILERS IN THE INDUSTRY. We are also a proud dealer of: Give Joey Burns a call: 507-461-0038 Email: parts@bosssupplyinc.com 414 South Main St. Janesville, MN 56048 We are also Give Joe Email: part s 414 South Now Introducing our new line of replacement parts compatible with Houle & GEA Liquid Manure Equipment! *Parts are not OEM, manufactured, or aff iliated with Houle/GEA* WWW.BOSS- S UPPLY.COM SEEOUR INVENTORY
Dairy Star • Saturday, June 8, 2024 • Page 17 JOIN OUR TEAM Now Hiring Service Technician Intern Apply Now! SCAN ME bit.ly/3fwYBl6 Paid Internship +1-800-636-5581 | Proudly serving you from Brookings, SD; St. Peter, MN; and Melrose, MN! DEALER Cutting-Edge Milking Equipment | Supply Delivery | Preventive Maintenance Herd Advisory & Software Support | Manure Management Services | Feed Management farm-systems.com © 2022 Farm Syststeems. All rig ts hts rese e rved. A-3386648395 Need Service? Keep your operation up and running with Farm Systems Your Local Milking, Manure and Feed Management Solutions & Service Provider

Describe your farm and facilities. We have a double-4 step-up parlor. Our farm is run by me and my wife, Michelle; our three kids, Jacob, Libby and Zander; my parents, Leonard and Rose Hoen; and a hired hand.

What forages do you harvest? We harvest haylage, corn silage and oatlage.

How many acres of crops do you raise? We have about 600 acres of cropland — about 55 acres of alfalfa, 30-35 acres of silage corn, 10 acres of oats, and the rest is planted to soybeans or grain corn.

Describe the rations for your livestock. We have a total mixed ration and do about 50-50 corn silage and haylage. We add a custom blend from the local feed mill and an on-farm blend that includes corn, cottonseed, soybean meal, extruded meal, whole soybeans and fat. We also have oatlage that I will feed as a ller with either third- or fourth-crop haylage. It seems to work well.

FORAGE PROFILE

What quality and quantity do you harvest of each crop? We try to cut our alfalfa at 28 days for each crop. Sometimes it differs, depending on the weather we are having during that time. We watch the elds for buds, and by the time I am cutting, about half the eld is at budding stage. We try to harvest our haylage at 60% moisture since we have a dryer silage. For our silage, we chop it at about 58% moisture. Since it is going in a silo, we don’t want it to be too wet.

Describe your harvesting techniques for alfalfa and corn silage. All of the alfalfa gets cut with a disk mower, and the following day it will get chopped. I start out by laying the rows at 13-feet wide and slowly lay them tighter as I am cutting to help hold some of the moisture in. I try to emphasis the moisture because it helps so much in the TMR mixer and the feed bunk. We harvest our haylage with a New Holland 230 pull-type chopper, and we usually use three chopper boxes. Everything will get cut at a 3/4-inch length. The

silage will also go through a processor that we added about 15 years ago. We were able to nish our rst-crop haylage on May 30.

What techniques do you use to store, manage and feed your forages. All of our haylage and oatlage goes in a bag. We end up lling four 9by 250-foot bags. We lay our bags north and south, which lets us open the bags on the north side during the summer to limit sun exposure. I try to only have one bag open at a time, especially during the summertime, while managing the length of it so that the wind doesn’t get underneath it, and I will have tires with strings on them to hold the seams down to prevent air from getting underneath. Our silage goes into two 18- by 65-foot silos, which can hold around 300 to 320 tons each.

Page 18 • Dairy Star • Saturday, June 8, 2024
DECORAH LOCATION 2337 Millennium Rd Decorah, IA 52101 563.382.8722 LANGSDAIRY.COM LEWISTON LOCATION 295 East Main Street Lewiston, MN 55952 507.452.5532 COME JOIN US FOR AN OPEN HOUSE June 20th • 11 am - 3 pm at our Decorah location Food & Door Prizes! Lang’s Dairy is proud to have been serving the dairy industry for 75 years!
Steve Hoen, Norwood, Minnesota | Carver County | 80 cows GRACE JEURISSEN/DAIRY STAR
Turn to FORAGE | Page 20
Steve Hoen stands in front of the tractor he uses for chopping forages June 4 near Cologne, Minnesota. Hoen milks 80 cows on his farm
W4 W 4 92 9 2 7 Cl C ea e a rv r v ie i e w Rd d R ., , Waal l do d o , WI W 5 30 3 0 93 3 9 9 2 0 - 52 8 - 1 4 3 6 WW W W W. W GI G BB SV S V IL L I LE L E IM M I PL EM M EN N E T T.CO C O M

Bongards’ Creameries

Has been a quality market for MN dairy farmers for over 100 years. MN producers provide one of the country’s most distinctive brands of cheese that is still made using the same Old World craftsmanship and has been combined with cutting-edge technology to produce cheese that delivers unforgettable taste with unparalleled quality. MN Dairy farmers and Bongards, quality that stands the test of time. We offer a competitive base price, premiums, and the best eld representatives in the industry.

13200 Co. Rd. 51

Bongards, MN 55368 (952) 466-5521

Fax (952) 466-5556

110 3rd Ave. NE Perham, MN 56573 (218) 346-4680

Fax (218) 346-4684

Chambersburg, PA Doug and Julie Martin, son Grant and wife Kim, daughter Jill and husband Josh Wiser 300 Registered Jerseys, grazing herd 12,000M

“We love Udder Comfort™ for fresh cows. We’ve been using it for 15 years. It’s the only one that works to get swelling down fast and make cows comfortable so they do better,” says Jill Wiser, dairy manager and partner in her family’s Pleasant Valley Jerseys, Chambersburg, Pa., a grazing dairy milking 300 reg. Jerseys.

“We spray fresh udders 2x/day for 5 days with Udder Comfort. We don’t do intramammary treatments while in the milking period but dry treat a few. If we get flareups, we use this, and in most cases, they clear within a week,” she explains, noting they “very much enjoyed the convenience, ease and coverage” having the Udder Comfort Battery-Operated Backpack Sprayer to do large groups of fresh cows this spring.

“Fresh group applications went so much quicker. We can have 30 cows done in under 5 minutes! It really shortened the application process for us.”

Dairy Star • Saturday, June 8, 2024 • Page 19
With the backpack sprayer... “We can have 30 cows done in less than 5 minutes!” Quality Udders Make Quality Milk PLEASANT
For external application to the udder only, after milking, as an essential component of udder management. Always wash and dry teats thoroughly before milking. Her Comfort is Our Passion! Softer udders [ Faster milking Better quality [ MORE MILK 1.888.773.7153 uddercomfort.com Helping reach their potential since 1998! •Both Straight and Interlocking Sides Available • Hammer Blow Top • Grooved on Bottom • 100% Virgin Rubber • 5 Year Manufacturers Warranty • Quantity Discounts • Delivery Available RUBBER MATS Chippewa Valley Dairy Supply YOUR MAT DEALER 6053 CTY. HWY. G • STANLEY, WI 54768 | 715-644-2350 47" X 70" COVERAGE • 3/4" THICK
— Jill Wiser
VALLEY JERSEYS,
5.8F 4.2P, 200,000 SCC

How does quality forages play in the production goals for your herd? Milk production is probably our biggest goal. Having quality forages is denitely one of our top three goals. We have noticed a difference as we have been making changes to our forages.

What are management or harvesting techniques you have changed that has made a notable difference in forage quality? We added a kernel processor about 15 years ago and switched to a TMR about 18 years ago, which has certainly helped with labor and cow health. We stopped feeding dry hay in our rations and created a tighter cutting window within the last ve years. This has made a difference across the board. It helps in the bunk with more moisture, so they don’t sort it. Milk production has gone up, and feed costs are more manageable. We have also noticed that it mixes faster since we don’t have to process the dry hay and mix it in. We also put on a granular inoculant at the bagger and the blower. I have found it helps to put extension hoses on the applicator so that the wind doesn’t blow the inoculant everywhere.

JEURISSEN/DAIRY STAR

A freshly lled bag rests June 4 at Steve Hoen’s farm near Cologne, Minnesota. Hoen stores his forages in silos and bags.

Describe a challenge you overcame in reaching your forage quality goals. Having a different cutting schedule and not baling any of it. We weren’t getting timely cuts. Now we have put more of an emphasis on it, and we can see the difference it is making.

Page 20 • Dairy Star • Saturday, June 8, 2024 DECORAH, IA Lang’s Dairy Equip. 563-382-8722 MONTICELLO, IA United Dairy Syst. 319-465-5931 WEST UNION, IA United Dairy Syst. 563-422-5355 FREEPORT, MN Arnzen Construction 320-836-2284 Hartung Sales & Serv. 320-836-2697 LEWISTON, MN Lang’s Dairy Equip. 507-452-5532 MELROSE, MN Farm Systems 320-256-3276 MENAHGA, MN Dairyland Equip. 218-564-4958 PENNOCK, MN D&D Ag Supply & Construction 320-599-4466 SAUK CENTRE, MN Dairyland Supply 320-352-3987 800-338-6455 JANESVILLE, WI Tri-County Dairy Sup. 608-757-2697 LANCASTER, WI Fuller’s Milker Center 800-887-4634 MARSHFIELD, WI Podevels Farm Serv. 715-384-6193 800-742-5748 MT. HOREB, WI The Scharine Group 800-872-3470 RICHLAND CENTER, WI Fuller’s Milker Center 800-887-4634 SPARTA, WI Preston Dairy Equip. 608-269-3830 WHITEWATER, WI The Scharine Group 608-883-2880 WITHEE, WI Hoover Silo Repair 715-229-2527 www.jdmfg.com www.jdmfg . com Family Owned & Operated in Eau Claire, Wisconsin Where you can buy : : #RequestTheTest RequestTheTest We are your Ventilation Experts IOWA MINNESOTA WISCONSIN FAN SELECTION & LAYOUT THANK YOU FARMERS #JuneDairyMonth WE DESIGN VENTILATION SYSTEMS. • Fan placement • Simulations • Tested data
Con nued from FORAGE | Page 18
GRACE JEURISSEN/DAIRY STAR Steve Hoen holds haylage June 4 near Cologne, Minnesota. Hoen feeds haylage in his dairy’s ra on. GRACE
Dairy Star • Saturday, June 8, 2024 • Page 21 Equipment and pictures added daily • Go to www.mmcjd.com Locations throughout minnesota & western wisconsin! CALL TODAY! (320)365-1653 SEE OUR COMPLETE INVENTORY WITH PICTURES AND DESCRIPTIONS AT: www.mmcjd.com 2023 John Deere 8R 370 220 hrs., #578424 $479,900 Financing subject to pre-approval through JD Financial. Some restrictions apply. See dealer for details. FLEXIBLE FINANCING OR CASH DISCOUNTS ON SELECT TRACTORS ROW CROP TRACTORS JD 8120 2003, 4527 hrs., #581214 ......................................................... $124,900 JD 8530 2009, 5010 hrs., #580965 ......................................................... $177,000 JD 6140M 2023, 200 hrs., #537706 ........................................................ $174,900 JD 6140M 2013, 2975 hrs., #579872 ........................................................ $89,500 JD 6150R 2013, 4275 hrs., #580657 ....................................................... $110,800 JD 6155M 2023, 321 hrs., #574515 ........................................................ $179,900 JD 6155M 2023, 380 hrs., #574520 ........................................................ $179,900 JD 6155M 2023, 575 hrs., #574519 ........................................................ $179,900 JD 6155R 2022, 615 hrs., #582525 ......................................................... $189,500 JD 6155R 2021, 122 hrs., #577902 ......................................................... $217,000 JD 6175M 2023, 150 hrs., #540240 ........................................................ $194,500 JD 6175M 2022, 200 hrs., #537683 ........................................................ $189,500 JD 6175R 2016, 1300 hrs., #554549 ....................................................... $168,500 JD 6195R 2017, 1987 hrs., #571447 ....................................................... $149,900 JD 6195R 2017, 2048 hrs., #571446 ....................................................... $149,900 JD 6250R 2021, 766 hrs., #554063 ......................................................... $259,900 JD 6R 130 2023, 300 hrs., #566943 ........................................................ $169,900 JD 6R 145 2023, 192 hrs., #566957 ........................................................ $199,900 JD 6R 145 2023, 231 hrs., #566956 ........................................................ $199,900 JD 6R 145 2023, 300 hrs., #566963 ........................................................ $199,900 JD 6R 145 2023, 300 hrs., #566964 ........................................................ $199,900 JD 6R 145 2023, 300 hrs., #566965 ........................................................ $199,900 JD 6R 155 2023, 116 hrs., #566968 ........................................................ $219,900 JD 6R 165 2023, 230 hrs., #550930 ........................................................ $264,900 JD 6R 165 2023, 300 hrs., #550931 ........................................................ $264,900 JD 6R 165 2023, 300 hrs., #550932 ........................................................ $264,900 JD 6R 175 2023, 300 hrs., #566971 ........................................................ $239,900 JD 7230R 2017, 1844 hrs., #570628 ....................................................... $192,500 JD 7260R 2011, 5621 hrs., #578892 ....................................................... $122,500 JD 7310R 2017, 1646 hrs., #573180 ....................................................... $231,900 JD 7R 210 2023, 320 hrs., #565718 ........................................................ $319,500 JD 7R 230 2022, 60 hrs., #554616 .......................................................... $314,900 JD 7R 230 2022, 2613 hrs., #576751 ...................................................... $247,000 JD 7R 230 2022, 3280 hrs., #576752 ...................................................... $237,000 JD 7R 310 2021, 1003 hrs., #554411 ...................................................... $334,900 JD 7R 330 2022, 1115 hrs., #554409 ...................................................... $349,900 JD 8235R 2014, 2115 hrs., #579540 ....................................................... $218,400 JD 8235R 2012, 3252 hrs., #575446 ....................................................... $167,500 JD 8270R 2017, 2653 hrs., #580342 ....................................................... $229,500 JD 8270R 2014, 3296 hrs., #579550 ....................................................... $207,500 JD 8295R 2015, 1150 hrs., #554174 ....................................................... $275,000 JD 8320R 2015, 3920 hrs., #578774 ....................................................... $199,000 JD 8335R 2013, 5185 hrs., #579551 ....................................................... $189,900 JD 8335R 2012, 6200 hrs., #575703 ....................................................... $167,500 JD 8345R 2016, 6551 hrs., #575079 ....................................................... $175,000 JD 8345R 2015, 2796 hrs., #578340 ....................................................... $269,000 JD 8345R 2010, 3527 hrs., #560966 ....................................................... $235,900 JD 8R 230 2023, 640 hrs., #579474 ........................................................ $334,900 JD 8R 230 2022, 450 hrs., #581600 ........................................................ $322,500 JD 8R 230 2022, 2929 hrs., #579066 ...................................................... $215,000 JD 8R 230 2021, 2478 hrs., #579064 ...................................................... $223,000 JD 8R 250 2023, 188 hrs., #579170 ........................................................ $359,900 JD 8R 250 2023, 625 hrs., #575418 ........................................................ $347,900 JD 8R 250 2022, 477 hrs., #581597 ........................................................ $339,500 JD 8R 280 2023, 300 hrs., #566099 ........................................................ $409,900 JD 8R 280 2020, 679 hrs., #565582 ........................................................ $321,900 JD 8R 310 2023, 375 hrs., #576346 ........................................................ $409,900 JD 8R 340 2023, 106 hrs., #578427 ........................................................ $459,900 JD 8R 340 2023, 300 hrs., #566103 ........................................................ $439,900 JD 8R 340 2023, 400 hrs., #565748 ........................................................ $439,900 JD 8R 340 2023, 400 hrs., #565755 ........................................................ $439,900 JD 8R 340 2023, 400 hrs., #565752 ........................................................ $439,900 JD 8R 340 2023, 428 hrs., #573310 ........................................................ $459,900 JD 8R 370 2023, 195 hrs., #576409 ........................................................ $459,900 JD 8R 370 2023, 197 hrs., #576407 ........................................................ $459,900 JD 8R 370 2023, 220 hrs., #578424 ........................................................ $479,900 JD 8R 370 2023, 800 hrs., #577935 ........................................................ $445,900 JD 8R 370 2022, 301 hrs., #572534 ........................................................ $449,900 JD 8R 370 2022, 516 hrs., #581198 ........................................................ $434,900 JD 8R 370 2022, 572 hrs., #569098 ........................................................ $445,900 JD 8R 370 2022, 679 hrs., #566936 ........................................................ $439,900 JD 8R 370 2022, 685 hrs., #578976 ........................................................ $429,900 JD 8R 370 2022, 1236 hrs., #574122 ...................................................... $399,900 JD 8R 410 2023, 103 hrs., #578423 ........................................................ $525,900 JD 8R 410 2023, 566 hrs., #573308 ........................................................ $514,900 JD 8R 410 2023, 616 hrs., #573311 ........................................................ $499,900 JD 8R 410 2023, 636 hrs., #566261 ........................................................ $490,900 JD 8R 410 2023, 661 hrs., #575906 ........................................................ $494,900 JD 8R 410 2022, 300 hrs., #572535 ........................................................ $459,900 TRACK TRACTORS JD 8335RT 2013, 5325 hrs., #572624 ..................................................... $169,900 JD 8345RT 2018, 1908 hrs., #576342 ..................................................... $269,900 JD 8RT 370 2023, 98 hrs., #540258 ........................................................ $532,500 JD 8RT 370 2023, 279 hrs., #579728 ...................................................... $507,400 JD 8RT 370 2022, 506 hrs., #572778 ...................................................... $449,900 JD 8RX 370 2022, 727 hrs., #553952 ...................................................... $499,900 JD 8RX 370 2022, 927 hrs., #567215 ...................................................... $499,900 JD 8RX 370 2020, 1170 hrs., #571893 .................................................... $449,900 JD 8RX 370 2020, 1510 hrs., #567816 .................................................... $429,900 JD 8RX 370 2020, 1866 hrs., #574704 .................................................... $409,900 JD 8RX 410 2023, 10 hrs., #272639 ........................................................ $605,900 JD 8RX 410 2023, 10 hrs., #540254 ........................................................ $605,900 JD 8RX 410 2021, 1219 hrs., #572184 .................................................... $489,900 Case IH STEIGER 620 AFS QUAD 2022, 656 hrs., #574070 ................... $589,900 UTILITY TRACTORS JD 6120M 2022, 69 hrs., #575211 .......................................................... $139,500 JD 6125R 2012, 1390 hrs., #568326 ......................................................... $84,900 JD 6130M 2022, 890 hrs., #554855 ........................................................ $124,500 JD 6130M 2021, 1218 hrs., #580561 ...................................................... $111,900 JD 6130M 2018, 567 hrs., #574074 ........................................................ $102,900 JD 6130R CAB 2021, 370 hrs., #578996 ................................................. $169,900 JD 6135E 2023, 135 hrs., #581677 ......................................................... $109,000 JD 6135E 2023, 250 hrs., #535964 ......................................................... $102,500 JD 6135E 2022, 1093 hrs., #535961 ......................................................... $98,400 JD 6135E CAB 2022, 272 hrs., #535963 ................................................... $98,400 JD 6R 250 2023, 4 hrs., #537693 ............................................................ $324,500 2023 John Deere 8R 410 114 hrs., #579957 $525,900 $199,900 2023 John Deere 6R 145 192 hrs., #566957 $219,900 2023 John Deere 6R 155 143 hrs., #566940 $179,900 2023 John Deere 6155M 380 hrs., #574520 $189,500 2022 John Deere 6175M 200 hrs., #537683 $167,500 2012 John Deere 8235R 3252 hrs., #575446 $207,500 2014 John Deere 8270R 3296 hrs., #579550

EQUIPPED TO DO MORE

Contact one of the following dealers to learn more:

IOWA

Prairie Land Ag Supply Inc.

Rock Valley, IA 712-476-9290

United Dairy Systems, Inc.

West Union, IA 563-422-5355 Monticello, IA 319-465-5931

WISCONSIN

Advanced Dairy Spring Valley, WI 715-772-3201

Bob’s Dairy Supply Dorchester, WI

715-654-5252

Ederer Dairy Supply Plain, WI

608-546-3713

DeLaval Dairy Service Kaukauna, WI 866-335-2825

Joe’s Refrigeration Inc. Withee, WI 715-229-2321

Mlsna Dairy Supply Inc. Cashton, WI 608-654-5106

Professional Dairy Services Arlington, WI 608-635-0268

Redeker Dairy Equipment Brandon, WI 920-346-5579

The Scharine Group Inc. Whitewater, WI 800 472-2880 Mt Horeb, WI 800-872-3470

MINNESOTA & SOUTH

DAKOTA Farm Systems

Melrose, MN 320-256-3276 Brookings, SD 800-636-5581

Advanced Dairy Mora, MN

320-679-1029 Pierz, MN 320-468-2494

St. Charles, MN 507-932-4288 Wadena, MN 218-632-5416

Page 22 • Dairy Star • Saturday, June 8, 2024
delaval.com With DeLaval Plus Behavior Analysis you have a tool that seamlessly integrates into your operation to give you and your team total visibility and oversight of your cows 24/7. Find out more about DeLaval Plus Behavior Analysis - it could be what’s next for your farm. is a registered trademark of Tetra Laval Holdings & Finance S.A. and “DeLaval” is a registered trade/servicemark of DeLaval Holding AB. © 2024 DeLaval Inc. DeLaval, 11100 North Congress Avenue, Kansas City, Missouri 64153-1296. DeLaval does not claim that the results reflected herein are typical and this information does not constitute a warranty nor guarantee of service or performance. Actual performance and improvement will depend on a number of factors, including milking practices, type of cows, farm and herd maintenance practices. Services described herein are not intended or implied to be a substitute for professional veterinary advice, diagnosis, consultation, or treatment. Only a professional veterinarian can diagnose a medical condition. Your use of these products and services is governed by the terms and conditions set forth at www.delaval.com/legal. We are catching more cows in heat with the Behavior Analysis system because it is always watching the cows… you get activity on every cow, every day. John Dukelow Dukestead Acres, Abbotsford, WI, DeLaval Plus - Your Performance Portal “ ” Ramsey Farm Machinery 2767 Us Highway 51 • Ramsey, IL 62080 (618) 423-2233 • www.ramseyfarmmachinery.com
Vermeer farm equipment is built to our traditional high standards, so it delivers the reliable service you expect from one of the nation’s leading manufacturers of agricultural equipment. 590 Riverside Drive Dorchester, IA Phone: 563-568-4513 Toll Free: 800-570-4513 Thank You Dairy Farmers! FROM ALL OF US AT:

Planting the seed of dairy knowledge, appreciation

Educational initiative sees continued growth

LANCASTER, Wis. — Elementary school aged children around the country are a little more knowledgeable after watching their adopted calf grow throughout the school year.

Wisconsin host farms have been prevalent in the Adopt A Cow program for around ve years. This year, three Wisconsin dairy farms participated including Selz-Pralle Dairy from Clark County, Vision Aire Farms LLC in Fond du Lac County and Orthridge Jerseys in Grant County.

family near Lancaster. This year, 421 classrooms and 11,783 students adopted two Jersey heifers named Laramee and Roni from Orth’s farm.

Orth said it is important to him to give youth a positive connection to the dairy industry.

Brittany Snyder Adopt A Cow

“The biggest thing is to give students the opportunity to see what happens on a farm and what happens to the calves for the rst nine months of their lives,” Orth said. “They see how we spoil them and care for them just like their parents care for them at home.”

Derek Orth from Orthridge Jerseys has just completed his third school year with the program. Orth milks around 250 cows with his

Two of the classes that adopted Laramee and Roni organized a eld trip to Orth’s farm this year. One of the schools was from the Madison area and obtained funding for the eld trip through a grant from Discover Dairy.

Having the students and parents at his farm opened Orth’s eyes to how unaware consumers are about dairy farming.

“People overall are very curious and almost aweinspired because of what they’re learning,” Orth said. “They really had no idea what

had to go on for a gallon of milk to get to Kwik Trip.”

During a previous school year, Orth was once recognized in public by a teacher participating in the program.

Her school was almost 100 miles away from Orth’s farm and he said she was so ex-

Dairy Star • Saturday, June 8, 2024 • Page 23 Curtain Experts Most Durable Longevity Industry Leader in AG Curtains Maximum protection in the Winter & Ventilation in the Summer. WEL C OME DEALER I NQUIRIES WAR R ANTY RAW R YTNA YEARYEAR shadylanecurtains.com | 717-690-2003 Turn to ADOPT A COW | Page 25
PHOTO SUBMITTED Derek Orth takes a break on his farm near Lancaster, Wisconsin. Orth milks 250 cows on the farm with his family. This is Orth’s third year par cipa ng in the Adopt A Cow program. cited to meet him in person. She even had photos of the adopted calves on her phone.

• Mobile Access

• Text and Email Notifications

• Custom Communication

Advanced Dairy Spring Valley, WI; Mondovi, WI; West Salem, WI; Mora, MN; Pierz, MN; Wadena, MN; St Charles, MN;

Central Ag Supply Juneau, WI; Baraboo, WI

J. Gile Dairy Equipment, Inc. Cuba City, WI

Redeker Dairy Equipment Brandon, WI

Stanley Schmitz Inc. Chilton, WI

Tri-County Dairy Supply Janesville, WI

Fuller’s Milker Center Lancaster, WI; Richland Center, WI

Eastern Iowa Dairy Systems Epworth, IA

Sioux Dairy Equipment Rock Valley, IA; Colton, SD

United Dairy Systems West Union, IA; Monticell, IA

Gorter’s Clay & Dairy Equipment Pipestone, MN

Leedstone

Melrose, MN; Glencoe, MN; Plainview, MN; Menomonie, WI

Monroe Westfalia Surge Monroe, WI

Lely Center Monroe Monroe, WI

Total Dairy Service Kewaunee, WI

Midwest Livestock Systems Zumbrota, MN; Renner, SD; Menomonie, WI; Kaukauna, WI; Weston, WI

Page 24 • Dairy Star • Saturday, June 8, 2024 1-800-MUELLER | PAULMUELLER.COM
FREE FREE from Parlor to Processor…

“When I rst got asked to do it, it seemed like one more chore to take all these pictures and answer all these questions, but the positive impact has been phenomenal,” Orth said. “It is very cool to be noticed for being a dairy farmer.”

The Adopt A Cow program is part of Discover Dairy which is based out of Harrisburg, Pennsylvania. The initiative has grown into a nationwide educational opportunity for students in kindergarten through eighth grade.

Brittany Snyder is the dairy education program manager for Adopt A Cow.

“Our ultimate goal is to build trust in the dairy industry so that when these kids have purchasing and buying power, they are making the right choice,” Snyder said. “We’re working with kids, so even though they’re not the ones actually making the purchase in the family, they are still very persuasive.”

The program partners with 14 of the 16 dairy checkoff organizations across the country to nd host farms. These farms choose a calf that is born in September for area schools to virtually adopt. The classes receive updates every month throughout the school year. The updates include photos of the calf, heights and weights for the

students to record on a chart in their classroom, and a virtual farm tour and discussion in the spring.

The program started in 2014 as an initiative in

Pennsylvania. The coronavirus pandemic caused a huge growth in enrollment. The year prior to the pandemic, the program had about 900 classes. When schools shut

down and all learning was virtual, their participation increased to 70,000 classes and almost 3 million students.

“Adopt A Cow has always been inherently virtual, so it

was very virtual friendly,” Snyder said. “It was a way to keep the kids’ attention and give them a positive experience to reference for dairy.”

The Adopt A Cow program is just one of the ways Discover Dairy educates youth about the dairy industry. They also provide lesson plans for teachers free of cost.

“The program puts Discover Dairy in a great spot with teachers because it’s not adding another thing,” Snyder said. “It replaces resources that they’re already using but with something that is dairy focused. In each lesson, there’s writing skills, reading skills (and) team building skills that are all built into activities and plans.”

Snyder said the students get very attached to the animals they adopt and she often receives calls and emails asking if a school can purchase the animal. She said she also sees the host farms grow more condent as they realize how much the students look up to them and appreciate the work they are doing on their farms.

“It never ceases to amaze me just how many people get involved and how many people it truly changes the way they think about dairy,” Snyder said. “They now know a dairy farmer and they have a connection to somebody real.”

Dairy Star • Saturday, June
2024 • Page
8,
25 Con nued from ADOPT A COW | Page 23
PHOTO SUBMITTED Laramee is one of the calves provided for the Adopt A Cow program by Orthridge Jerseys near Lancaster, Wisconsin. Derek Orth sent photos and growth updates over the course of the school year.
820 W. MAIN ST. • CHILTON, WI 53014 920-849-9304 www.ddequipment.com WE ALSO CARRY THESE BRANDS: John Deere 6300 $19,900 John Deere 7810 Tractor $69,500 CIH Magnum 340 $247,900 CIH Optum 300 CVT Tractor $208,900 New Case IH Puma 240 CVX Tractor Call for Pricing New CIH Farmall 120C w/Loader Call for Pricing New Massey Ferguson MF2850E Call for Pricing Parker2620 Seed Cart Call for Pricing Parker 1020 2 Box Seed Cart Call for Pricing McHale V6 750 Round Balers Call for Pricing Jay-Lor 5850 TMR $28,900 John Deere 990 Round Baler $34,000 New Manitou M30-4 Forklift $87,500 NEW & USED EQUIPMENT

Treml-Knebell champions

Normande genetics in US

ARPIN, Wis. — Rhonda Treml-Knebel grew up in a world of black and white. But for nearly 20 years, she has been seeing things in shades of red, falling for the Normande cow and everything they have to offer.

“I was at World Dairy Expo, walking around and I happened to see the Normande grazing exhibit there, and they looked like the cattle I remembered — strong and healthy — and they were extremely pretty, as far as their color,” Treml-Knebel said. “I went home and read the literature I had picked up, then I did some more research online. The more I read and learned, the more interested I became.”

A life-long Holstein breeder, Treml-Knebel said she had become disenfranchised with the direction the breed was taking. With their children grown, Treml-Knebel and her husband, Bill, decided to sell their herd but

A believer in the breed

Rhonda Treml-Knebel stands with her small herd of Normande cows April 30 near Arpin, Wisconsin. Treml-Knebel and her husband, Bill, milk ve Normande cows and market gene cs from their herd.

retain a few heifers.

“Holsteins were beginning to go downhill as far as health and sustainability, in my eyes,” Treml-Knebel said. “They were needing huge amounts of feed and not doing well as grazers. I just wasn’t happy with that.”

The dual-purpose Normande breed hails from the Normandy- Bretagne region

of Northwest France, and they are noted for having excellent feet and legs and good health traits. Normande meat and milk are considered superior in their native country, Treml-Knebel said. The best cuts of Normande beef come from cows that are 5-6 years old, she said.

“Restaurants that display the Normande logo are

the expensive ones,” TremlKnebel said. “They market their cattle from cradle to grave. There is information about every aspect of an animal’s life on the label – the breed, how old the animal was, information about how they were fed and raised.”

After that initial exposure to the breed, the idea of owning Normande cattle re-

mained in the back of TremlKnebel’s mind, and then, one day, she received a phone call from a friend asking her to haul some animals.

“After becoming interested in the breed as well, my friend had found a lady who was needing to sell her Normandes for health reasons and she was going to buy a heifer,” Treml-Knebel said. “Barb brought home Rosie, and I brought home Bridget, Celeste and Daphne and a little bull calf.”

Treml-Knebel said she had some explaining to do to her husband, when she pulled in the yard with a trailer full of Normandes, but he has come to love the breed as well.

“That is how it all started – with those three heifers,” Treml-Knebel said. “I started breeding them from there and started breeding my Holstein heifers to Normande as well.”

Today the Knebels maintain a small herd of ve milking Normandes, along with youngstock and bulls, from which they actively market genetics. They use the milk for their own purposes and give milk away to dog breeders in the area for pet milk. They also market beef from their animals.

Since those rst three

Page 26 • Dairy Star • Saturday, June 8, 2024 The Vermeer 504R Premium baler is fully loaded and comes standard with a silage kit specially designed for high output of high-moisture crops. More than a silage special, this baler is equipped with heavy-duty components, premium belts, a 5-bar camless pickup and the Atlas™ control system. Giving you full control to help handle more capacity in heavy crops, the 504R Premium baler will help you produce good-looking bales in tough conditions. Plus, a Vermeer 3-year pickup warranty* helps provide peace of mind for silage seasons to come. Silage or not, this is a first-class baler. (715)285-5317 Ken Anibas • www.anibassilo.com N6423 Commerce Lane, Arkansaw, WI siloman@nelson-tel.net • kevinatanibassilo@yahoo.com “Your Complete Farm Service Company” Serving You Since 1973 s *3-year pickup warranty covers internal components and includes parts and labor. Does not include teeth or hardware for teeth. See local Vermeer dealer for details. Vermeer Corporation reserves the right to make changes in engineering, design and specifica tions; add improvements; or discontinue manufacturing or distribution at any time without notice or obligation. Equipment shown is for illustrative purposes only and may display optional accessories or components specific to their global region. Please contact your local Vermeer dealer for more information on machine specifications. Vermeer, the Vermeer logo and Atlas control system are trademarks of Vermeer Manufacturing Company in the U.S. and/or other countries. © 20 Vermeer Corporation. All Rights Reserved.
DANIELLE NAUMAN/DAIRY STAR
Turn to TREML-KNEBEL | Page 27
United Dairy Systems 563-422-5355 • West Union, IA 319-465-5931 • Monticello , IA

Normande cows stand in their pasture May 31 near Arpin, Wisconsin. Rhonda Treml-Knebel became a Normande enthusiast a er rst being exposed to the breed at a World Dairy Expo grazing exhibit.

heifers came to live on Treml-Knebel’s farm, she has embraced the breed. The journey, however, has not always been an easy one.

Availability of purebred Normande semen is limited in the U.S., as are opportunities to purchase fullblooded Normande females, TremlKnebel said. Importation restrictions on semen and embryos due to outbreaks of diseases have added to the difculty of bringing purebred genetics from France to the U.S.

“People want them,” TremlKnebel said. “There’s just not a lot of them around. I have sold cattle and embryos to people all around the country.”

Looking to expand their herd and marketing opportunities, the Knebels have twice traveled to France in pursuit of building their Normande herd.

In 2005, they worked with a brokerage company to import 40 purebred embryos from France. The results were disappointing, as only two live calves were born from that shipment. The Knebels made another attempt at organizing a purchase of embryos in 2007, working directly with French farmers. This yielded better results: 18 live births from 20 embryos.

Over 4,000 Normandes are in the U.S. with over 500 head registered

with the U.S. Normande Breeders Organization, which Treml-Knebel helped to found. The organization was established to ll a need for accurately coded registrations for embryo and semen marketing.

“A lot of people don’t register them here,” Treml-Knebel said. “Many don’t realize they can register them even if they are a percentage. The breed is growing in popularity because they are so hardy and so versatile.”

Globally, the Normande breed is more prevalent, with over a million Normandes in France. The largest population of the breed is in Colombia, with 1.8 million documented through the government registry. Treml-Knebel was recently invited to represent the USNBO at the 80th anniversary celebration of Normande in Colombia later this fall.

Normande cattle’s hardy characteristics are what made Treml-Knebel like the breed nearly 20 years ago, and the same ones that drive her passion today.

“Everybody loves their Normandes, and it’s not hard to understand why,” Treml-Knebel said. “They are so self-sufcient, so tough. They love to be outside, even in the winter. They are just solid, sturdy, beautiful cows.”

Dairy Star • Saturday, June 8, 2024 • Page 27 www.mdtruckequip.com 201 N 29th Ave. Monroe, WI 53566 WE ARE OPEN MONDAY - FRIDAY 8 - 5 | SATURDAY 8 - NOON Sales and Rentals 608-325-3810 1-888-811-2525 2024 WACKER NEUSON WL28 53Hp, 40” wide, High-Flow (22 GPM), High Speed (18 MPH), Front / Rear Auxiliary Hydraulics Call 2024 PAUS TL9065 74 Hp,18 MPH, Deutz diesel engine TCD 2.9 L4 , Highspeed version 15 MPH, Radio, Air-suspension comfort seat, skid steer coupler, AC, , Ride control, 2 year warranty, 14,935# Operating Weight - Call 2023 WACKER NEUSON 8085T Enclosed Cab, A/C, 74Hp, Deutz Diesel, 15’ Telescoping Boom, Bucket, Hyd. Skid steer Coupler, Standard Flow. $95,500 2023 590 FARM BOSS 590 Gallon Fuel Tank, Large Front Tool Cabinet, 25 GPM Kohler “Elec Start” Gas Engine with GPI Pump W/20’ Hose/ Auto Nozzle $28,900 2024 990 FARM BOSS 990 Gallon Fuel Tank, Large Front Tool Cabinet, 45 GPM Kohler “Elec Start” Gas Engine with MP Pump/35’ Hose/ High Flow Auto Nozzle/Filter Kit, Lighting, Dexter Axles 2 Elec. Brakes, Aluminum Wheels - $22,550 0% Financing Available 2024 PAUS TSL9088 180 DEGREE ROTATING BOOM, 114Hp, Deutz Diesel Engine TCD 3.6 L4, Telescopic up to 15’ Stack Height, Hands-free Kit, Heat-able Rear Window, Airconditioning System, 2 Year Warranty - Call 3 Natural Way • Sharon, WI (262) 736-3333 info@completefeedservice.com • Multi Species Consulting • Custom Rations and Feed Testing • Commodity Contracting • House and Name Brand Feeds • Calf Feeds, Milk Replacers, and Housing • Show Feeds and Supplies • Covers, Wrap, Bags, Inoculant, and Twine 3 N ( inf
Con nued from TREML-KNEBEL | Page 26
DANIELLE NAUMAN/DAIRY STAR
QUALITY SALES AND SERVICE SINCE 1980 DAIRY EQUIPMENT B&R DAIRY EQUIPMENT 24-HOUR SERVICE We work on ALL BRANDS of bulk tanks & equipment! Full Route Service Full Route Discounts! 108 N. Renville St. | Winthrop, MN 55396 | www.brdairyeq.com 24/7 Emergency Service: 1-877-852-5510 Product delivery and speci c milk system checks on regularly scheduled dates. Your Hometown Dealer Thank You Dairy Producers!
Page 28 • Dairy Star • Saturday, June 8, 2024 FARMERS IMPLEMENT AND IRRIGATION Brookings, SD • www.farmersii.com FABER’S FARM EQUIPMENT Inwood, IA, Watertown, SD www.fabersfarm.com GORTER’S CLAY & DAIRY EQUIPMENT Pipestone, MN • www.gortersclayanddairy.com BREEDEN SALES Maquoketa, IA • www.breedensales.com BRUNKAN EQUIPMENT Worthington, IA • www.brunkans.com MARK’S TRACTOR & IMPLEMENT Osage & Dumont, IA www.markstractor.com METTLER IMPLEMENT Menno, SD • www.mettlerimplement.com ANIBAS SILO & EQUIPMENT, INC. Arkansaw, WI • www.anibassilo.com ALDRICH TRACTOR Verndale, MN • www.aldrichtractor.net WOLLER EQUIPMENT Swanville, MN • www.wollerequipment.com A&C FARM SERVICE Paynesville, MN • www.acfarmservice.com HAMMELL EQUIPMENT Chatfield, Eitzen, Harmony & Rushford, MN www.hammellequipment.com STERLING EQUIPMENT & REPAIR, INC. Cottonwood, MN www.sterlingequipmentinc.com CONTACT YOUR LOCAL DEALER TODAY! Now through June 30, 2024, qualified buyers can receive low-rate financing or cash back on select new Vermeer equipment through Vermeer Credit Corporation (U.S.) or De Lage Landen Financial Services, Canada Inc. (Canada). See your local Vermeer dealer for additional details on this and other special offers from Vermeer. Maximum finance amount up to 100%, depending on payment plan and credit approval. Minimum transaction $2,500. Financing offer valid in U.S. and Canada only. U.S. rate listed, Canada may be different. All rates, terms and conditions are subject to change and credit approval. Vermeer, the Vermeer logo and Equipped to Do More are trademarks of Vermeer Manufacturing Company in the U.S. and/or other countries. © 2024 Vermeer Corporation. All Rights Reserved. TAKE ADVANTAGE TODAY Now through June 30, 2024, quali ed buyers can receive low rate nancing or cash back on the purchase of select new Vermeer forage equipment including balers, mowers, rakes, tedders and more. Of course, there’s MORE to making hay than just baling it. Vermeer has a versatile lineup of hay tools and products for every step of the haymaking process — from mowing your elds to feeding your herd. Now through June 30, 2024, quali ed buyers can receive low-rate nancing or cash back on select Vermeer products. LOW-RATE FINANCING OR CASH BACK ON SELECT MODELS Bob Meyer Master Electrician, Owner Cell: 320-761-1042 Need an Electrician? We Offer the Following Agricultural Services: Barn Lighting, Sheds, Fans, Trenching, Irrigation, Homes & More! Lic. #CA03435 Serving Central Minnesota E lectric B.E.A.M. ELECTRIC Joel Sloan Analyzer Mobile: 507.951.8663 sloan.j@hotmail.com 40713 State Highway 44 Mabel, MN 55954 Sire the Need ® | aAaWeeks.com Get More Out of Your Cows. aAa® Weeks®

IN DAIRY women

Tell us about your family and farm. My husband, AJ, and I live on his family’s 101-year-old farm purchased by his great-grandfather, Alfred Schlintz, from the salary he earned ghting in World War I. His grandfather, Stanley, added several smaller farms to make up the landmass that it is today. Our children, Avery and Ayla, are the fth generation of Schlintzes to milk cows in the dairy barn, which was built shortly after Alfred purchased the land in 1923. We own just over 300 acres in La Crosse County. We milk in the double-8 parlor which was installed in the original milking barn in 2015 — the same year that we built the freestall barn. We now milk our 60 cows without any hired help. AJ has always wanted to farm. My goal was always to work off the farm but provide occasional labor and support our family farm by working a more traditional job off the dairy. I worked a career as a loan ofcer in banking for over a decade until recently when I decided to leap back into my agricultural roots and take up a dream job with Dairy Farmers of Wisconsin, our dairy checkoff, as the advocate and voice for our Wisconsin dairy farmers.

What is a typical day like for you on the dairy? My day starts like many farm parents, getting the kids ready for the day with a giant cup of coffee in my hand — the milking pump gently humming in the background while AJ takes care of our ladies in the barn. I sit down to my computer shortly after, jumping in to accomplish countless tasks for Wisconsin’s dairy farmers. This might include making sure that any active dairy farmers who are hosting tours have the supplies they need or who are hosting media interviews look, feel and sound their best so that they can represent our entire industry with as much pride, strong messages and condence as we can deliver to share dairy’s good news with consumers. On the days I travel to farms or meetings, I do my best to get the kids off to a good start and be sure the schedule is clearly updated so that everyone knows what’s going on before I leave for the day. AJ is a fantastic dad who juggles all that happens on the farm while still making sure the kids make it to soccer games, band practices and everything else that comes with having involved farm kids in today’s fast-paced world. Thank goodness for good neighbors and family who pitch in when they can.

What decision have you made in the last year that has beneted your farm? Now that I’m traveling to different farms to assist with sharing our farmers’ stories with consumers in various ways, I get to see so many different operations and the way that farmers overcome obstacles in their own ways. Farmers are innovative and intelligent in so many ways, so bringing some of that home to utilize on our own dairy has been great! From these observations, we recently converted an underutilized machine shed into youngstock housing, which has allowed us to focus on raising better replacements.

Tell us about your most memorable experience working on the farm. Having the privilege to be a part of AJ’s family’s century farm legacy has been an honor for me. I come from generations of dairy farmers myself, but to be part of the legacy that his family has carried on is one that I don’t take for granted. When I can contribute to everyday tasks like feeding calves with our kids or driving the Massey 294 that I grew up using on my dad’s farm, I always feel like I’m just where I was meant to be.

Bangor, Wisconsin

La Crosse County 60 cows

What have you enjoyed most about dairy farming or your tie to the dairy industry? My greatest enjoyment from being a Woman in Dairy is the pride I feel for an industry that can give back so much as it can occasionally take. We as dairy farmers don’t farm because we’re looking to get rich quick; we do it because it’s a lifestyle that ties us to the land and animals that we love. Choosing to be a conventional farmer is what’s right for my family, but as an organic farmer’s granddaughter, I feel pride for what those operations can accomplish for their markets. Options are valuable and are equally important to today’s consumer. We’re feeding the world a delicious, nutrient-rich, versatile product that has endless possibilities for feeding today’s non-farming families.

What is your biggest accomplishment in your dairy career? My biggest professional accomplishment is being hired at Dairy Farmers of Wisconsin. Carrying on the legacy of the Schlintz Family Dairy Farm is one that I take great pride in. Most recently, I have had the opportunity to share short videos spotlighting the stories of a few of our local La Crosse County farms on social media to promote our La Crosse County Dairy Breakfast taking place on June 15th at our local fairgrounds.

What are things you do to promote your farm or the dairy industry? This is my wheelhouse! Before working for Dairy Farmers of Wisconsin, I was active in local county dairy promotions via our dairy breakfast and dairy promotions groups and shared my farm’s story via social media. I frequently shared my farm’s story with those in my community via my career in banking and was active in our dairy cooperative, Dairy Farmers of America. Additionally, I have remained active in my FFA alumni group, which has always held a special place in my heart.

What advice would you give another woman in the dairy industry? Every individual has a story, and every story is important. Finding ways that you feel comfortable sharing that story will be unique to every individual. Prior to being a full-time dairy advocate, I was afraid that I would say the wrong thing or encounter a question I couldn’t answer, so it was easier to stay in my own corner of the world and mind my own business. Today’s consumer is demanding more of us as dairy farmers. Everyone has the ability to advocate for our industry at a level and in a way that’s comfortable for them. It doesn’t have to be elaborate; even having a conversation with a friend who isn’t a farmer can have a bigger impact than you think. I am here to help farmers with that as well.

What is a challenge in the dairy industry you have faced and how did you overcome it? In my career in banking, as I moved up the career ladder, I found that I moved further and further away from agriculture and therefore dairy. I didn’t feel like my peers in the lending community understood our industry to the extent that was needed to allow for the access to capital that our farms need to grow and be successful. I began spending time talking about the importance that dairy farming has in our communities and the opportunities it creates. I brought friends and family out to the farm and had discussions about the misconceptions about our industry. I talked about the truths that we as farmers know about but that the gen-

eral population doesn’t understand. I listened to the worries and concerns that my friends had about where their food was coming from and helped them understand the care that farmers take for their land and animals. We as farmers take much of this for granted. We must take the time to listen and to educate. Somehow, along the way, I have found the ability to take these efforts to the next level and help others to do the same.

When you get a spare moment, what do you do? I’ve always loved to learn via experiences. I take opportunities to experience and explore the world around me. Now that my kids are getting older, I’m involving them in those experiences as often as possible. While getting away as a family is difcult without hiring help on the dairy, we can still grow together via hosting international exchange students or taking smaller vacations when time and nances allow.

Dairy Star • Saturday, June 8, 2024 • Page 29 The World’s Best TMR Processor Keep your cattle happy & healthy with a great TMR mix. A Supreme vertical mixer is powerful, thorough & accurate, providing the best TMR mix on the market. Unlike other mixers, a Supreme is built to last, providing exceptionally accurate mixes throughout its entire life. With proper care & maintenance, a Supreme will offer the same great mix from the first cow to the last - Guaranteed. 600T, 900T, 1200T & 1500 Triple IN STOCK! 920-853-3516 Potter, WI 920-477-5292 Eden, WI 920-324-3597 Waupun, WI 920-261-5301 Watertown, WI WEaupunquipment g A 1250TTM Gen !!! In Stock & Ready To Go!

Earned sick, safe time

As of Jan. 1, there was a new law in effect in Minnesota for those with employees. The law is earned sick and safe time, which is essentially mandatory paid time-off offered to employees. Small businesses are not exempt from this legislation. Farms with employees need to abide by these rules. The rationale for this law is to provide employees with time off for their own mental or physical illness, caring for a family member or absence due to at-home safety concerns such as domestic abuse.

Employees who work at least 80 hours per year need to be provided with PTO for sick and safe time. This can be used for the employees to take care of themselves or family members or other requests. Eighty hours of work per year is not a lot of hours. Almost all of a farm’s full- or

part-time employees would qualify for this and, as a result, need ESST. Independent contractors do not qualify. An employer can require employees to provide up to seven days of advanced notice. When possible, the employer can also require the employees to provide documentation for their reason of use if it is more than three consecutive days. Keep in mind that it can be complicated to ask an employee why they want to take time off or to ask them for proof that they were sick.

Hiring employees can be challenging on the farm, especially with a low unemployment rate. The Minnesota unemployment rate was 2.7% in March. Your farm’s current PTO leave policy may already fully or partially meet these requirements. Per ESST, employees must accrue one hour of ESST for every 30 hours

worked. Having more PTO for employees may be a nice benet to help recruit employees, and this can increase your farm’s competitiveness in the job market.

Make sure your farm complies with these laws. I know they may be burdensome, but it is the law. More PTO options may be a benet that your employees appreciate, and it may cause them to stay with you longer.

From the Minnesota Department of Labor and Industry:

— Sick and safe time is paid leave employers must provide to employees in Minnesota that can be used for certain reasons, including when an employee is sick, to care for a sick family member or to seek assistance if an employee or their family member has experienced domestic abuse.

— Employers must provide each employee in Minnesota with at least one hour of paid sick and safe time

for every 30 hours worked, up to at least 48 hours of accrued ESST a year.

— A year means any consecutive 12-month period as determined by an employer and clearly communicated to the employee. Calendar year, tax year or scal year, based on the employee’s start date will all work.

— ESST can be used for an employee’s mental or physical illness or the treatment or preventive care.

— ESST can be used for mental or physical illness or the treatment or preventive care of an employee’s family member.

There are a few options for employers on employees accruing the hours of ESST. Employers may choose whether hours will accrue each pay period or be frontloaded at the start of each year. Employers can also frontload the ESST by giving the employee either 48 or 80 hours at the start of the year.

Dana Adams adam1744@umn.edu 320-204-2968

Joe Armstrong armst225@umn.edu 612.624.3610

Luciano Caixeta lcaixeta@umn.edu 612-625-3130

Gerard Cramer gcramer@umn.edu 612-625-8184

Marcia Endres miendres@umn.edu 612-624-5391

Les Hansen hanse009@umn.edu 612-624-2277

Brad Heins hein0106@umn.edu 320-589-1711

Nathan Hulinsky huli0013@umn.edu 320-203-6104

Karen Johnson ande9495@umn.edu 320-484-4334

Emily Krekelberg krek0033@umn.edu 507-280-2863

Claire LaCanne lacanne@umn.edu 507-332-6109

Brenda Miller nels4220@umn.edu 320-732-4435

Isaac Salfer ijsalfer@umn.edu 320-296-1357

Jim Salfer salfe001@umn.edu 320-203-6093

Mike Schutz mschutz@umn.edu 612-624-1205

Melissa Wilson mlw@umn.edu 612-625-4276

Isaac Haagen hagge041@umn.edu 612-624-7455

Michael Boland boland@umn.edu 612-625-3013

Sabrina Florentino slpore@umn.edu 507-441-1765

Page 30 • Dairy Star • Saturday, June 8, 2024 www.extension.umn.edu/dairy
STARWOOD RAFTERS, INC. 715-985-3117 W24141 Starwood Ln. • Independence, WI 54747 Website: www.starwoodrafters.com 888-525-5878 WHICH BARN IS BEST FOR YOUR HERD? Birds just love this barn. The webs in these trusses are easy nest areas for birds. They also restrict air flow which leads to poor ventilation and moisture buildup in the building. The arched rafters create a more open barn allowing better ventilation. Also since there are no open webs in the trusses, there are no places for birds to nest. Starwood Rafters Uses Pole Sheds • Free Stalls Riding Arenas Pavilion Shelters Machinery Storage • Spans up to 72 ft. • Up to 12’ spacing depending on the load you desire • Bird nesting control • Better ventilation & visability • No feed alley post obstruction • Additional ceiling height Starwood Rafters Lam-Ply Truss ANOTHER QUALITY PRODUCT FROM STARWOOD RAFTERS The dairymen of our area are hard-working individuals with a sense of spirit and commitment. NEXUS is proud to be the feed supplier to northeast Iowa & Southern minnesota dairy farmers. Serving your Agronomy, Energy, Feed, Grain and Lumber needs Find your nearest location at nexus.coop 608-524-9958 » www.forwardfarmlines.com RUGGED, RELIABLE, and ECONOMICAL

Celebrate JUNE DAIRY MONTH

June 9

Taylor County Town and Country Dairy Breakfast: The 39th annual dairy breakfast will be held at the Taylor County Fairgrounds from 6:30 a.m. to noon. This year, the menu includes omelets, sausage, cheese, milk and ice cream. New this year is French toast with whipped cream and maple syrup. The fairgrounds are located at Corner Highways 13 and 64 in Medford, Wisconsin.

Lincoln County June Dairy Breakfast: Enjoy a delicious family-friendly breakfast that supports local Lincoln County educational programs and FFA Alumni and Farm Bureau Scholarship funds. Breakfast includes plain and potato pancakes, cheesy scrambled eggs, sausage links, real Wisconsin cheese curds, coffee and chocolate and white milk. Experience fun activities for the whole family including horse and wagon rides. The breakfast will be held at MARC/Smith Center from 8 a.m. to noon The center’s location is 1100 March Dr., Merrill, Wisconsin.

Outagamie County Breakfast on the Farm: Hosted by the Erickson Dairy Farm from 8 a.m. to noon. The morning is expected to be jampacked with family fun. The menu includes hearty egg omelets, pancakes, breakfast ham, yogurt, Wisconsin cheeses, cinnamon rolls, milk, coffee and Culver’s frozen custard. The day kicks off with a prayer service at 7 a.m. and continues with breakfast. After eating, there’s a pedal tractor pull at 10:30 a.m., live music, children’s activities, a petting zoo, farm tours and much more. Erickson Dairy Farm is located on N9602 County Rd. in Bear Creek, Wisconsin.

Grant County Dairy Breakfast: The Buttles family of Stone-Front Farm just outside of Lancaster will be the hosts of this year’s Grant County Dairy Breakfast. The event will run from 7 a.m. to 11:30 a.m. The menu

includes pancakes, eggs, sausage links, cheese, string cheese, yogurt, applesauce, ice cream, coffee and milk. The address is 5027 State Hwy. 81, Lancaster, Wisconsin.

Richland County Dairy Breakfast: The Huff-NelSons Dairy Farm is proud to host this year’s 43rd annual breakfast from 7 a.m. to 1 p.m. The breakfast menu will include all-you-can-eat pancakes, sausage links, applesauce, cottage cheese, cheese curds, yogurt, string cheese, various sliced cheeses, ice cream, coffee and creamer, and chocolate and white milk. The farm address is 25560 Huffman Ln., Richland Center, Wisconsin.

Oconto County Breakfast on the Farm: Get ready for a packed morning on the farm at Shallow Acres Dairy. The day starts with a church service at 7 a.m. followed by breakfast from 7 a.m. to noon. On the menu are scrambled eggs with cheese and ham, pancakes with local maple syrup, sausage, cheese curds, fruit, yogurt, milk, coffee, water and ice cream sundaes. After eating, enjoy activities such as antique and modern farm equipment displays, tents with booths/activities by organizations, kids’ entertainment and live music by local bands. Shallow Acres Dairy is located at 8416 Molitor Rd. in Lena, Wisconsin.

Marquette County June Dairy Breakfast: Head over to the Marquette County Fairgrounds from 7 a.m. to noon and enjoy breakfast. The menu features pancakes, sausage, eggs, loads of cheese, fruit, milk, coffee, orange juice and ice cream. Activities include kids’ games, bingo, 50/50 rafe, music, kids’ train, animals and more. The fairgrounds are found at 757 Main St. in Westeld, Wisconsin.

Neillsville Dairy Breakfast: It’s back on the farm for this year’s annual breakfast. Terry and Becky Byrne’s Dairy Farm plays host this year and will offer a

breakfast menu packed with scrambled eggs, regular and blueberry pancakes, Smith Bro. sausage, applesauce, cheese curds, ice cream, juice, milk and coffee. Stay around after you eat for more fun including CCN Broadcasting, an antique tractor display, a bounce house, Neillsville FFA painting and so much more. The Byrne Dairy Farm is located at W5711 Chili Road in Neillsville, Wisconsin.

June 15

Eau Claire County Dairy Breakfast on the Farm: Head over to Bischoff Farms for this year’s breakfast on the farm. The event kicks off at 7 a.m. and runs until 11 a.m. with a menu that includes pancakes, sausage, cheese curds, custard, milk, orange juice and coffee. Enjoy activities such as farm tours, equipment displays, educational activities, a petting zoo, a bounce house and more. The address for Bischoff Farms is 5935 Deereld Rd. in Eau Claire, Wisconsin.

June 16

Walworth County Dairy Breakfast: Walworth County Farm Bureau presents the 47th Annual Dairy Breakfast back on the farm. The Davis Family Farm invites you to join them on their fth generation family farm for a delightful breakfast from 6 a.m. to 10:30 a.m. Farm tours are available along with activities for the kids. The address for the farm is N999 Co. Rd. K, Sharon, Wisconsin.

La Crosse County Dairy Breakfast: The La Crosse County Lions are proud to present this year’s breakfast at the West Salem Fairgrounds. Come enjoy a breakfast of pancakes, cheesy eggs, sausage, milk, yogurt, ice cream and cheese. Also, learn more about the im-

Turn to JUNE DAIRY MONTH | Page 32

Dairy Star • Saturday, June 8, 2024 • Page 31 One Piece Polythylene Construction MANUFACTURING Freudenthal 715-748-4132 • 1-800-688-0104 • W. 6322 CTH O • MEDFORD, WI 5445 Visit our website: www.freudenthalmfg.com Complete Line Of Ritchie Watering Fountains Fresh Water On Demand 24 Hours a Day • Top Quality Materials • Smart Design • Built to Last COMPLETE WATERER PARTS ON HAND BUY DIRECT FROM THE MANUFACTURER AND SAVE! CS-60 Comfort Stall Heaviest In The Industry AUTO RELEASE PANELS THE HEAVIEST BUILT IN THE DAIRY INDUSTRY. UNMATCHED BY ANY OF OUR COMPETITORS. Heaviest, Strongest, Custom Cattle Gate on the Market! SUPREME COMFORT PAD Your Ultimate Choice in Safety, Economy & Durability • Custom Sizing • 1¾” Thickness • Easy Installation • Non-Skid Surface • 5 year Limited warranty We Ship Anywhere! ALL STEEL COW TRAINERS NOW IN STOCK Diagonal Feed Thru Panel Made to Order Elevated Dual Rail Suspended Freestalls • Provides superior lunge area • Fully adjustable • No stall mounts in the concrete or sand • Installation labor savings • Much stronger than our competitors beam systems • Head to head and single row options available • Stall system stays high and dry, resulting in longer life • Compare the weight of this system, heaviest available on the market today Brisket Board Clamps Available We Carry A Complete Line Of Stall & Stanchion Clamps At Low Prices. CALL FOR THE ONES YOU NEED! LEGEND GROOVED ROLL • Simple low maintenance • No thin top cover to break down and tear • Specialized urethane foam underlay which does not pack over time like crumb filled beds • Fully molded and reinforced top mat for stability and added hygiene • Simple and fast installation • 5 year warranty • Proven for extreme durability • 5mm stainless cable inlay • Guaranteed NEVER to stretch • Grooved top for traction • Can be used with automatic & skid steer scrapers • 10 year warranty LEGEND SOFT BED MAT Poly Square Calf Huts 5’ Wide x 6’6” long
with events across Wisconsin

pact of dairy farming on the community and show some love to the local dairy farmers. The West Salem Fairgrounds are on N4985 Co. Rd. M in West Salem, Wisconsin.

Kenosha County Dairy Breakfast: Check out an event that is fun for the whole family. Enjoy a morning on the Crane Grain Farm that includes a big farm breakfast, an agriculture tent with items to purchase, children’s games, farm toys for sale and much more. The breakfast includes scrambled eggs with ham and cheese, pancakes, mufns, yogurt, juice, milk and Culver’s ice cream. The event runs from 6:30 a.m. to 10:30 a.m. and is located at 3930 288th Ave. in Salem, Wisconsin.

Sheboygan County Dairy Promotion Association Breakfast on the Farm:

Prepare yourself for a busy morning at Vandoske Dairy Farms LLC for breakfast on the farm. Wagon farm tours, Moo Mania Comedy, barrel train rides, pedal tractor pull, pony rides, “Addie” the Cow interactive exhibit, giant sand pile and a dairy racetrack are just a few of the activities to expect with many more on the agenda. The breakfast lineup includes scrambled eggs, all-you-can-eat pancakes, meat, cheese, yogurt, donuts, milk, coffee and ice cream. There will also be free T-shirts for the rst 100 children ages 10 and under. Check out the fun at W1823 County Line Rd. in Cleveland, Wisconsin.

Watertown Agri-Business Club Dairy Breakfast (June 15 and 16): Enjoy a delicious breakfast on the Gudenkauf Farm from 7 a.m. to 12:30 p.m. including live music featuring the Gary Beal Band and farm tours. The breakfast menu includes pancakes, eggs, sausage,

cheese and milk. The event address is 8232 Little Coffee Rd. in Watertown, Wisconsin.

Pierce County Dairy Breakfast: The Randy and Lori Larson Farm is this year’s county breakfast host from 7:30 a.m. to 11 a.m. The breakfast consists of homemade pancakes, local maple syrup, Ellsworth deep-fried cheese curds, Culver’s custard, Kwik Trip milk, coffee and water. There will also be activities for kids such as a petting zoo, a dairy jeopardy wheel and a corn sandbox while adults can learn more about agriculture in Pierce County. Come ask questions at educational booths ranging from on-farm technology to sustainable practices in the eld. There will be a free-will donation upon entry. The farm is located at W1285 Co. Rd. U in Plum City, Wisconsin.

Columbia County Moo-Day Brunch: Brunch is back so head on over to Fifth Generation Homestead for some yummy food and fun. The menu includes pizza, grilled cheese, GoGurt, milk, ice cream and more. There are a multitude of things to do such as kids’ games, pedal pull, petting zoo, music, clogging dance and a specialty cheese sampling. Antique tractors and farm equipment will also be on display for viewing. The event will run from 9 a.m. to 1 p.m. The address is N1484 O’Connor Rd. in Lodi, Wisconsin.

June 16

Marsheld FFA Alumni and Supporters Dairy Breakfast: The 27th annual breakfast is being held at Seehafer’s City View Dairy LLC from 7 a.m. to noon. The breakfast lineup includes all-

you-can-eat buttermilk, blueberry and potato pancakes with real maple syrup, sausage, applesauce, cheese curds, ice cream sundaes, orange juice, Weber’s Farm bottled milk and coffee. After breakfast, check out the petting zoo, door prizes and silent auction. The location is 202305 Galvin Ave. in Marsheld, Wisconsin.

Kewaunee County Breakfast on the Farm: Ready for the biggest omelet you’ve ever seen? Well, get ready for that and more at Breakfast on the Farm, hosted by Heim’s Hillcrest Dairy. Starting with a church service at 7 a.m., there is plenty to do. Running from 8 a.m. to noon, the rest of the breakfast menu is lled with fresh bread and butter, a variety of cheeses, choice of milk, strawberry sundaes, pizza, deep-fried cheese curds and yogurt. After the meal, enjoy activities such as horse- and tractordrawn wagon rides, petting zoo, entertainment and live music, farm tours and more. The event location is E3731 Rockledge Rd. in Algoma, Wisconsin.

Waupaca County Breakfast on the Farm: Support Weyauwega-Fremont FFA at the 31st annual breakfast at the Waupaca County Fairgrounds. Indulge in a breakfast of ham, all-you-can-eat pancakes, hash browns, applesauce, cheese, ice cream, milk and water. Check out the petting zoo, face painting, the 50/50 rafe, pedal tractors and so much more. The breakfast runs from 8 a.m. to noon. Head over to 602 South St., Weyauwega, Wisconsin for the event.

June 22

Racine County Breakfast on the Farm: The Schaal family is back to

host for the rst time in eight years, so come check out their changes and enjoy a morning on the farm. Food options include eggs, sausage, ice cream and milk. There will also be a petting zoo, kids’ activities, live music and more. Serving starts at 7 a.m. and will run until 11 a.m. Come see the fun at 1800 McKee Rd., Burlington, Wisconsin.

Vernon County Dairy Breakfast: Goede Acres LLC plays host to this year’s county dairy breakfast. Enjoy a breakfast of pancakes, eggs, sausage and steak before heading off to activities including door prizes, kids’ activities, bouncy houses and a petting zoo. No advanced ticket sales, purchase tickets at the farm the morning of the breakfast. The event runs from 7 a.m. to 11 a.m. and is located at S3803A Wire Hollow Rd. in Viroqua, Wisconsin.

Auburndale FFA Alumni Dairy Breakfast: Enjoy a delicious breakfast from 8 a.m. to noon at Auburndale High School. The menu includes buttermilk pancakes, Smith Brothers sausage, cheese curds, butter, sweetened dried cranberries, ice cream and maple syrup. Sit-down or drive-thru options are available, and breakfast is being held with Auburndale Music Fest. Auburndale High School is located at 10629 North Rd. in Auburndale, Wisconsin.

Buffalo County Dairy Breakfast: MarBec Dairy LLC hosts this year’s county breakfast. The menu includes pancakes, sausages, cheese curds, ice cream, malts, fried cheese curds and milk. The event runs from 7 a.m. to 11 a.m. and also includes farm tours. Nearby parking will be available. The address is W962 County Rd. NN, Mondovi, Wisconsin.

pinecountrybank.com

Page 32 • Dairy Star • Saturday, June 8, 2024 Welcome to Pine Country Bank!
our expertise and commitment to personalized assistance, we’re here to ensure that farmers have the resources they need to thrive in an ever-changing landscape.
us to
more about our ag lending
Dave Cebulla Vice President/ Chief Lending Officer (320) 632-9740 dave@pinecountrybank.com Tim Twardowski Senior Agricultural Lender (320) 632-9740 tim@pinecountrybank.com Chad Van Beck Senior Business Lender (320) 393-4200 chadv@pinecountrybank.com Mike Mastey Agriculture/Commercial Loan Officer (320) 333-9250 mikem@pinecountrybank.com LITTLE FALLS 1201 1st Ave. NE / 320-632-9740 RICE 750 Cty Rd 21 / 320-393-4200 ROYALTON 412 N. Hwy 10 / 320-584-5522
Empowering farmers for a sustainable tomorrow.
With
Contact
learn
services:
Con nued from JUNE DAIRY MONTH | Page 31

A crushing blow

Steer facilities ruined by May storm

GRATIOT, Wis. — Josh Larson had been home after evening chores for just 30 minutes on Tuesday, May 21, and was listening to a thunderstorm rage outside, when his mother called that the steer shed had been damaged.

Josh lives about 10 miles from the dairy. He and his wife, Rachel, put their boots back on and headed out the door. Josh called his daughter, Ashley Bruegger, and his cousin, Brandon Larson, who had both just made it home as well. Everyone returned to the farm where their steer shed had been blown over by straight-line winds.

“There were 200 head of cattle in that building,” Josh said. “The steers were all pinned.”

Josh milks 150 cows near Gratiot with his Brandon, and Ashley Bruegger. He is assisted by his uncle, Gordy Larson, as well. The farm is owned by his mother, Nikki Larson.

When they arrived, it was 8 p.m. and dark. The entire roof of the shed had been torn off and had went through other buildings. The posts remained, bent over and trapping the cattle. They could see that other buildings were damaged, but their priority was freeing the trapped cattle.

“Those cattle literally had to (have the posts) be removed (off them) with a chainsaw,” Josh said. “Some were down, some were just stuck in all the triangles. You know at some point every one of those animals had to be laying out at on the ground. By the time we got to them most of them were back on their feet but most of them were stuck in the debris.”

Though it was a mess, the Larsons worked carefully to extract animals while using skid loaders to lift poles off when they could.

Brandon said everything went OK.

“One pen had 28 steers in it, and we got 15 out right away and then another few, and just slowly it went,” he said.

Light shines

The Larsons found one steer with a broken leg which seemed to be the only major injury. As they assessed the cattle in the following days, they noticed a few more that were walking, but had discomfort somewhere.

After moving cattle so

Thank you Dairy Farmers!

During Dairy Month, we’d like to thank the men and women of our dairy industry for their hard work and commitment to quality and sustainability. We appreciate all that you bring to the table!

that all were safe, the Larsons cleaned up the next day. There was debris all over the farm. People came to help and pick things up just so they could move around. In the days that followed they even found tin across the eld on the neighbor’s farm.

The Larsons called a salvage company that brought dumpsters and grapple trucks to haul away the tin. After a day of dragging tin to the grapple truck, they were able to get rid of the lumber.

Dairy Star • Saturday, June 8, 2024 • Page 33 R ANDS.COM WE SALUTE WISCONSIN DAIRY FARMERS DURING JUNE DAIRY MONTH
17 Locations providing quality products and services across Southeastern Minnesota and Northeastern Iowa 507-896-3147
ABBY WIEDMEYER/DAIRY STAR
Turn to LARSONS | Page 34
off the metal of the remains of a steer shed May 29 at the Larson’s farm near Gra�ot, Wisconsin. The building housed 200 steers before it was destroyed by straight-line winds May 21.

Once most of the debris from the building was cleaned up, the Larsons worked on feed recovery. In all, seven silage bags were ripped open with gaping holes on top. One bag had a hole 100 feet long on one side. They have yet to nd the chunk of plastic that was used to cover the silage. The Larsons hired a custom bagger to rebag what they could. They ended up with three bags of newly bagged feed before the custom bagger had to move on to a scheduled job.

Then, the Larsons transitioned to saving corn. Two grain bins were damaged along with a commodity shed that lost its roof and was left with leaning cement walls. One grain bin’s roof caved in, while the other was full of debris and water.

“The corn was just drowning in

there,” Josh said. “We transferred 20,000 bushels of corn and moved it into storage units that weren’t damaged. The roofs are inside out.”

Even with all the damage that has been done to their farm, the Larsons consider themselves lucky that the dairy operation has been able to operate near normal as the freestall barn and parlor were not harmed. Still, without the steer shed, there is not enough room for the replacement heifers.

The Larsons are considering their options for moving forward, working with insurance adjusters to determine what is best for them.

“We haven’t made any decisions yet,” Josh said. “We are moving forward with a rebuild. However, we have signed no papers.”

Perfect Swath Density!

• Adaptive True Ground Speed Technology - This truly unique feature to the MERGEPRO allows the pickup and belt to be constantly monitoring the ground speed and adjusting themselves to deliver constant and equal crop on the belt as you go insuring consistent swath.

• Camless Pickup - Simple rotation, no additional moving parts, no additional wear.

• Fastest Working Speed - Maximum working speed from 0 to 18 mph

• Deflector above pickup and belt - Insures constant and smooth flow of the crop from the field ground to the belt conveyor without damaging the leaves or letting them flying off the swath.

• Multiple crop delivery options - Left, Right, Left and Right, Left Left with center delivery, Right right with center delivery, All center.

• Narrow and simple transport

Page 34 • Dairy Star • Saturday, June 8, 2024 Mid-Central Equipment, Inc. Henning, MN • 218-583-2931 Northland Farm Systems Owatonna, MN • 507-451-3131 Contact your local dealer for more information: NEW MERGEPRO HAY MERGER
Schlauderaff Implement Litchfield, MN • 320-693-7277 Woller Equipment Swanville, MN 320-573-2341 Cloverdale Equipment Curtiss, WI • 715-223-3361 Reiser Implement Waukon, IA • 563-568-4526 Roeder Implement Dubuque, IA • 563-557-1184
nued from LARSONS | Page 33
Con
ABBY WIEDMEYER/DAIRY STAR Sunlight illuminates a mashed grain bin May 29 at the Larson’s dairy farm near Gra ot, Wisconsin. The bin was full of corn before straight-line winds damaged it with ying debris.

Grooving

Our animals will tell us when they need help, but sometimes it takes us a while to gure out what exactly is going on. All species of animals on our farm can communicate when they are caught, hurt, lost or hungry. Chickens, ducks, dogs, cats … the list can go on and on. As dairy farmers, we all recognize when cows, heifers and calves are hungry, ovulating or in pain because they literally tell us with their moos. A cow in pain has a distinctly different moo from one that is bellowing for food. And we have all been in a pen with a cow or heifer in heat when they are very friendly, mooing to get bred. I personally don’t stick around in the pen as I have experienced getting mounted by a heifer. That was a surprise that taught me to evaluate the animals before going into their pen.

Recently, we have been noticing heifers that have been moved from the loang shed to the freestall barn are getting banged up. They have swollen hips and knees, and they have become fearful to cross the water pad to get to the feed. At rst, we noticed that when we are moving them, they are excited, running, jumping and doing all sorts of dumb heifer things like getting stuck in the stalls. It is a new environment, they are happy to be moving from the loang shed, but this is also stressful because they are mixed with other heifers that are a few weeks older.

Watching them mingle and go through the ranking of the group, a few will be the ones that are shy and wait for everyone else to go to the bunk to eat. The aggressive, bigger and older heifers are always rst and will often mount the new ones to establish where they t into the group. I have witnessed lead cows and heifers head butt and push the weaker animal around and away from the food and water or out of a stall. These girls are very mean and can denitely make the move depressing and also dangerous for the new girls coming into the free stall.

I often share this process with people on our tours. There is similar ranking going on in the classrooms, and the terms used come directly from the farm. Bullies and bossies are the boys and girls who often are bigger and more condent than other shy students. Sometimes these aggressive students can become leaders if they are taught empathy and compassion. If not, these children are the ones that often disrupt the teacher and make her or his job a living hell. Maybe that is too strong to say, but often they are very challenging and require more disciplined approaches to keep the whole class running smoothly. Honestly, I can pick out those students in the rst few minutes when they come into the barn for the safety introduction. Since I am not a teacher, and I want the teacher to have a great time at the farm, I often will reach out my hand to these students so that they can be my buddy and get the little extra attention that they seek.

This past winter and early spring, we have observed way too many banged up heifers. This then leads us to ask, “Is someone moving them in a forceful manner by scaring and possibly using the sorting stick in an improper way?” “Why is it that these girls were walking ne, and now they are limping with sore, swollen legs?” “Did something happen from the time they were brought in until they got injured?”

We looked at our stall sizes. They are a little small, but the heifers are still lying in them. Then we noticed that the oor was very slick. The heifers are slipping and sliding and landing hard on their hips and knees. It would be a few days after the hard fall that the swollen body parts would be blown up. These girls get moved back to the bedding pack to rest on a thick pack of clean bedding. This move back to the bedding pack is also less stressful because they are the older heifers in the group.

We looked back to when the free stall was put up and how the oor was created back in 2002. The builders were able to oat over the wet concrete and make the ridges. After years and years of scraping with the rubber tire, the ridges had been smoothed out, and something needed to be done to prevent more injuries. I clearly remember when the free stall was new and our children were riding their bikes back and forth from one end to the other. It was a farm-style bike park. They had to leave eventually when the gates were put up and the animals moved in. Our kids just moved to riding in the feed alley and eld roads to ll their summer days with bike-riding bliss.

The freestall barn was built where our pasture was, and next to the new barn was still fenced where we could let the cows out after milking to graze or to keep some dry cows on the grass. The cows would go out to the pasture and eat for a few hours, but then they would run into the barn to be the rst one in. Slipping cows and a few splits made it obvious that the cow yard needed to be grooved. Nothing can ruin my day like a downed cow. It clearly can be prevented with grooving the cow yard. To prevent any further spills and splits, it was important to get it done as soon as possible.

We hired a barn oor grooving crew, P and D from Appleton, in 2007. Owner Doug Beahm and his team did an amazing job. They grooved and even cross hatched the critical areas where there was a slope and where the cows would slide before the doorway to the barn. While they were here, Doug fell in love with a few kittens I had for the tours. He wanted only one, but I talked him into two.

All of our cats start off as kittens, getting manhandled by children who squeeze a little too tight. Little hands pet eyes, poke noses and can pull a whisker just a little. With the best

intentions of the children trying to give love, the kittens are not hurt. Actually, the kitties’ motors purr like a race car, loud!

The P and D crew came back to groove our freestall barn just last week. As soon as Doug got out of the truck, he shared with us about how those two cats were such a part of his life. He told us they were the best cats ever. One lived almost 17 years! We do have two more kittens, but we are not ready to let them go yet. Too many school kids still need to snuggle a kitten.

With getting the grooving done and hearing about how our kittens enriched Doug’s life, I wanted to reach out and be his friend on Facebook. I am thrilled he is still in the grooving business and helping so many other farmers keep their cattle safe and standing. I know he will be reading this, and I want to give him a big thank you.

Tina Hinchley, her husband Duane and daughter Anna milk 240 registered Holsteins with robots. They also farm 2,300 acres near Cambridge, Wisconsin. The Hinchleys have been hosting farm tours for over 25 years.

genetic gain by joining the NxGEN program! Our current lineup provides chart-topping sires with diverse pedigrees and well-balanced profiles.

“ NxGEN allows us to have the first bite of the apple on early release bulls. Seeing the NxGEN calves when they hit the ground makes me feel like we have hit the lottery. Using these early release bulls and seeing their daughters develop, get pregnant with ease and enter the milking string – it is quite impressive.”

Justin Stewart Arizona Dairy Co., Mesa, AZ

“ We joined the NxGEN program because we wanted better genetics faster, and to use the absolute best genetics to move our herd forward.”

Jarrod Kollwelter

JC-Kow Farms, LLC, Whitewater, WI

“ NxGEN has been a very beneficial tool for our genetic program. The early access to the most elite genetics in the industry has allowed us to improve our herd’s genetic base.”

Ryan Matheron Hilmar Holsteins, Hilmar, CA

Dairy Star • Saturday, June 8, 2024 • Page 35 Phone: (320) 259-6680 Web: www.cobaselect.com
04/24 CDCB-S/HA Genomic Evaluations. 04/24 Zoetis Data. ®NxGEN and HHP$ are registered trademarks of Select Sires Inc., Plain City, OH. DWP$ is a registered trademark of Zoetis Inc., its affiliates and/or licensors. TPI is a registered trademark of Holstein Association USA.
CAPTURE GENETIC TRENDS like never before! Gain access to our most elite genetics and maximize your herd’s
CURRENT LINEUP AVERAGES +190 CFP +1,262 HHP$® +1,246 DWP$® +3181 GTPI® +1,213 CM$
Daughters of previous NxGEN sire 14HO15223 CONWAY, Summit Farms, LLC, Plymouth, WI
We use a hydraulic upright chute for less stress. Monahan HOOF TRIMMING Since 1997 Cattle, Sheep, and Goat Hoof Trimming Call Dan at 507-272-3447 “Our two man crew allows us to complete the job in a timely manner with less disruption of your herd’s daily routine.” Covering the states of MN, IA, SD & WI Veteran Owned & Operated!

Not a moment to rest

The calendar has turned to June Dairy Month. Signs are up for our local dairy breakfast, and I am trying to channel my creativity into coming up with different projects for the FFA kids to do to engage the 1,200 visitors we anticipate coming. One of the other fair moms and I spent two hours registering kids (and ourselves) for the Elroy Fair last week. We really went out on a limb with some of the entries; let’s hope the cattle all feel like cooperating. The kids are excited, and that fuels us to keep moving on things. The pigs have to be walked over the scale to make sure they are not overweight, and if so, we have to put them on a salad diet, and trust me, that does not impress them very much.

I suppose that I am preaching to the proverbial choir when I say that trying to get rst crop done in between rainstorms has proven to be a bit of a challenge. The hay

grew taller and thicker, and the only thing that keeps us from complaining about all this moisture is the fact that we were bone dry last year. We know very well that “it could be worse” because last year it was. For a few days last week, my dad bounced between planting corn and cutting hay. Ira left school early the last two days so that he could come and take over in the discbine. We started chopping at 8 a.m. Friday and stopped at midnight. It was raining by 7 a.m. the next morning. It was the right amount of moisture to make things a tad greasier in the elds, so no chopping on Saturday.

While the guys were readying the equipment for action Sunday morning, the girls in the barn had some noteworthy excitement. We had a set of triplet heifer calves born. All three are adorable, spunky, tiny and have great appetites. We went rogue on our naming this

Editorial disclaimer: The views expressed by our columnists are the opinions and thoughts of the author and do not reect the opinions and views of Dairy Star staff and ownership.

time. Snap, Crackle and Pop was the majority vote with Stella, Brynn and me. They will most denitely be accompanying us to the dairy breakfast in town for their public debut.

BULLETPROOF® Forage Preservatives enhances fermentation through the addition of sulfur-containing antioxidants, enzymes and sugar sources. This unique combination of ingredients allows for a more rapid and efficient fermentation by the lactic acid producing bacteria that are naturally present on the forage.

We uncovered the pile at noon on Sunday while watching the merger start out in the elds across the road. His speed and frequent stops were evidence of the thickness of the hay crop. The trucks started their rattling and grumbling shortly thereafter. As I worked on lunch, with my back to the window, I could tell who the driver was by their usage of the Jake Brake. The addition of a dump cart was a great timesaver for this crop. Some spots in the elds had standing water, while many slopes were slimy to try to crawl up. The cart would load and meet the truck at the road to transfer the silage to them. The chopping crew was all in agreement that they had to keep going to prevent the hay from getting rained on again. The forecast was talking more rain on Monday morning. They chopped all night long, thankfully with no breakdowns and no accidents. I’m not so sure the neighbors were impressed, but hopefully they understand that “make hay while the sun shines” is a real deal sometimes.

Don, the milkman, was the early breakfast delivery guy on Monday, bringing the posse milk and sandwiches to keep them fueled up. My crew of kids, who actually got to sleep a few hours, arrived at 8:30 a.m. bearing mufns and energy. Ira was among the weary who drove a silage truck all night, and while he still had a smile that said he felt good for working hard, his eyes were tired. As the last truck pulled in and dumped, we could see the rain coming in the distance from the peak of the pile and knew we were in for a cold shower. The load was pushed and probably should have had more packing, but time was of the essence, and we knew it. Peter drove the skid loader up with the plastic rolls on it, and we each grabbed and ran to pull it the length of the bunker. As the rst wave of rain hit, we were all scrambling to overlap layers of plastic and hold it down from the wind. Ray Baby brought buckets of tires (and two mice) to weigh it down, and we worked, laughed and squealed as the rain pierced us. Lightning struck in the distance, and the electricity in the air sent any wayward hairs the girls on the pile had straight up in the air.

We took a break when the rain became so intense that we couldn’t see straight and the makeshift tire umbrellas weren’t working and headed for the shop. As I looked around at all the bone-tired, puddle-dripping, mufn-eating, smiling and laughing faces, I was so appreciative of this crew. From third grade to their 40s, we all understood how important this was to get done. We could feel the rain soaking through to our underlayers, and we were not quite done with the bunker. But there was no complaining — just storytelling of the naps snuck during the night, the wet elds, the drivers’ antics and the thankfulness that the rain did actually come. Staying up all night would have been pointless had it not. When we could hear that the rain let up, we went back out and nished our job.

It was a wild 24 hours on our farm. All animals and people made it through them safe and sound. The rst crop is tucked in tight, and Snap, Crackle, and Pop will move outside today. What a start to June Dairy Month.

Jacqui Davison and her family milk 800 cows and farm 1,200 acres in northeastern Vernon County, Wisconsin. Her children, Ira, Dane, Henry and Cora, help on the farm while her husband, Keith, works on a grain farm. If she’s not in the barn, she’s probably in the kitchen, trailing after little ones or sharing her passion of reading with someone. Her life is best described as organized chaos, and if it wasn’t, she’d be bored.

a practical approach to issues with STRAY

Page 36 • Dairy Star • Saturday, June 8, 2024
THE FORAGE SHIELD Protect your forage quality.
Call Brant Groen 320-220-1342 stop shocks. Serving the 5-State Area the
Find
VOLTAGE for your dairy operation.
By Jacqui Davison Columnist Ramblings from the Ridge

Burning money

The other day, a few of our doctors were discussing heifer pregnancy rates. A top-notch client had recently posted a 57% pregnancy rate. This is an annual pregnancy rate, not a conception rate, and it represents the highest replacement heifer pregnancy rate we have seen in the history of our practice. This farm’s high pregnancy rate is achieved through a conception rate of 70% and a service rate of 81%. This is a big deal, but why?

There are two obvious reasons: cost and performance. Cost because feeding, housing and caring for replacement animals is expensive. Indeed, for many farms, net herd replacement cost is their second-largest expense.

There are no advantages to feeding, housing and caring for heifers for even one day more than whatever age at rst calving is optimal for your dairy. If the total cost is $3 per day, for example, extending the age at rst calving for 30 days costs $90 per head. If you calve 500 heifers per year, that is an unnecessary loss of $45,000 annually.

Increasing the pregnancy rate means more animals calve at or near the optimum age. A pregnancy rate of 57% means that about 57% of your heifers will calve in a range of age of just 21 days, and 82% will freshen within a range of 42 days, or two cycles. Herds in our veterinary practice have an average annual heifer pregnancy rate of 29%. This means, on average, 29% of heifers will calve within a 21-day age range, and 50% will calve within two cycles.

The cost of this inefciency to our practice’s farms varies. For example, farms that use a predominantly timed A.I. system for rst breeding will have

very few animals calving in too young, with nearly all the animals that do not calve within an optimal window being too old. Most of the excess cost to those farms comes from feeding, housing and caring for them for extra days.

For farms that rely on heat detection for the rst insemination, the losses may add up differently. Farms typically adjust the voluntary waiting period based on the average age at calving. Herds that use mostly heat detection will have more equal amounts of heifers that get pregnant too young and too old in contrast to the timed A.I. herds where the outliers are almost always too old.

So, while heat detection herds do incur the cost of excess days, they also suffer decreased performance on roughly the same number of animals because they calve too young. Calving too young means less milk production. There is at least some evidence that milk production never recovers for these animals, meaning they will produce below their potential for every lactation. Thus, the herd will produce below its potential as well. These herds suffer from excess costs and decreased performance.

The herds in our practice achieve an average heifer pregnancy rate of 29% by having a conception rate of 53% and a service rate of 55%. These same herds average an adult cow pregnancy rate of 31%, and they do this with a conception rate of 47% and a service rate of 67%. Even though the average herd uses much more sexed semen in heifers than cows, they achieve a higher conception rate in heifers versus cows but a lower pregnancy rate because of poor service rates. There is no acceptable reason why heifers should have a service rate less than adult cows, especially 12 percentage points lower.

This is a good news-bad news situation. Yes, the bad news is that heifer pregnancy rates are lower because of poor service rates. The good news is that poor service rates are simple to x.

For example, heifers typically respond well to prostaglandin injections, and expecting more than

75% to be bred following one injection is not at all unreasonable. Plus, prostaglandin is cheap; the cost of one injection is usually about the cost of one-half extra day of raising. Veterinarians can design effective breeding protocols using prostaglandins or other drugs. Activity systems also work well on heifers and can be a great aid to increasing service rates.

So, why do so many herds tolerate low heifer service rates?

First, some just do not see the urgency. Heifers may not get moved to the breeding pen on time, and/ or farmers may wait for a certain number of days beyond the voluntary waiting period before administering any injections.

Second, some send their animals to custom raisers, and they may be unwilling to demand better reproductive performance.

Third, a few probably feel there is an advantage to waiting for a natural heat. There is no science available to suggest that a non-induced heat leads to better fertility than an induced heat, and there is plenty of scientic evidence that some induced heats lead to better fertility. Thus, waiting for a natural heat is just burning money.

Fourth, a few herds may have poor heifer growth rates and may have many animals that simply are not big enough to breed when they reach the voluntary waiting period.

What can we do?

Increase heifer service rates. If our clients achieved the same service rate for heifers as cows, their average heifer pregnancy rate would be around 36%, which is not bad. However, if they matched our top herd’s rate of 81%, the pregnancy rate would be closer to 45%, which is great. This should not be difcult to accomplish.

Jim Bennett is one of four dairy veterinarians at Northern Valley Dairy Production Medicine Center in Plainview, Minnesota. He consults on dairy farms in other states. He and his wife, Pam, have four children. Jim can be reached at bennettnvac@gmail.com.

1850 CH hrs., #582099 ....... $219,000

JD 9600 2020, Kernel Processor, PRWD, 1310 hrs., 775 CH hrs., #565393 ......... $375,000

JD 9600 2019, Kernel Processor, PRWD, 1311 hrs., 811 CH hrs., #532049 ......... $369,900

JD 9600 2019, Kernel Processor, PRWD, 1743 hrs., 1130 CH hrs., #553763 ....... $329,900

JD 9700 2021, Kernel Processor, PRWD, 832 hrs., 527 CH hrs., #571817 ...........

JD 9700 2021, Kernel Processor, PRWD, 1210 hrs., 900 CH hrs., #579477 ......... $454,900 JD 9700 2020, Kernel Processor, PRWD, 969 hrs., 500 CH hrs., #552460 ........... $469,900

JD 9600 2022, Kernel Processor, PRWD, 663 hrs., 507 CH hrs., #576032 ........... $499,900 JD 9600 2021, Kernel Processor, PRWD, 892 hrs., 538 CH hrs., #565399 ........... $420,000

Dairy Star • Saturday, June 8, 2024 • Page 37
Veterinary Wisdom Flexible financing or cash discounts on Spfh’s & hay tools Locations throughout minnesota & western wisconsin! CALL TODAY! (320)352-6511 SEE OUR COMPLETE INVENTORY WITH PICTURES AND DESCRIPTIONS AT: www.mmcjd.com 2022 John Deere 9600 663 hrs., #576032 $499,900 2021 John Deere 9800 584 hrs., #550106 $518,000 2020 John Deere 9900 748 hrs., #565395 $595,000 SELF-PROPELLED FORAGE HARVESTERS JD 5820 1982, PRWD, 4252 hrs., #582622 .......................................................... $27,500 JD 6810 1993, Kernel Processor, PRWD, 5314 hrs., 3524 CH hrs., #579404 ......... $30,000 JD 7550 2010, Kernel Processor, PRWD, 2778 hrs., 1896 CH hrs., #579487 ....... $146,500 JD 7750 2008, Kernel Processor, 4691 hrs., 2991 CH hrs., #568793 .................... $89,500 JD 8400 2023, Kernel Processor, PRWD, 26 hrs., #560608 ................................ $531,000 JD 8400 2021, Kernel Processor, PRWD, 527 hrs., 317 CH hrs., #574593 ........... $441,000 JD 8600 2016, Kernel Processor, PRWD, 1611 hrs., 1200 CH hrs., #555841 ....... $235,900 JD 8700 2017, Kernel Processor, PRWD, 2600 hrs.,
Columnist
$479,900
JD
CH
......... $439,900 JD
570
375 CH hrs.,
........... $575,000 JD
2021, Kernel Processor, PRWD, 584 hrs., 302 CH hrs., #550106 ........... $518,000 JD 9800 2021, Kernel Processor, PRWD, 658 hrs., 369 CH hrs., #552624 ........... $509,900 JD 9800 2020, Kernel Processor, PRWD, 1333 hrs., 859 CH hrs., #536344 ......... $429,900 JD 9800 2020, Kernel Processor, PRWD, 1583 hrs., 942 CH hrs., #554135 ......... $389,900 JD 9800 2019, Kernel Processor, PRWD, 1063 hrs., 660 CH hrs., #550175 ......... $439,900 JD 9900 2022, Kernel Processor, PRWD, 748 hrs., 330 CH hrs., #565395 ........... $595,000 JD 9900 2022, Kernel Processor, PRWD, 2000 hrs., 1500 CH hrs., #574301 ....... $349,900 JD 9900 2021, Kernel Processor, PRWD, 1058 hrs., 675 CH hrs., #565397 ......... $509,900 JD 9900 2021, Kernel Processor, PRWD, 1353 hrs., 990 CH hrs., #573149 ......... $409,900 JD 9900 2019, Kernel Processor, PRWD, 1397 hrs., 884 CH hrs., #550177 ......... $399,900
9700 2020, Kernel Processor, PRWD, 1171 hrs., 835
hrs., #543646
9800 2022, Kernel Processor, PRWD,
hrs.,
#572207
9800

Errands with friends

I heard a story on a radio station about running errands with friends as a way to connect when life is so busy. I think it was related to new mothers, but it reminded me of one of my favorite parts of being a teenager and young adult. This was that my friends and I often accompanied each other while running errands. Tasks like running to the lumberyard are much more fun with someone to chat with while driving, and it’s great to talk through the best way to improvise when what you needed to buy isn’t available for some reason. It doesn’t hurt to have an additional person with you when you need to load a bunch of heavy posts in the back of the truck, either.

My friend, Jon, asked me a couple months ago if I could haul a steer to the butcher shop for them since he doesn’t have a cattle trailer. Being ower farmers, it wouldn’t make much sense for them to

have a cattle trailer. It wasn’t a problem to get the bottle calf to their farm when it was 100 pounds. But at 1,400 pounds a couple years later, no matter how well halter trained, I don’t think it’d be a good idea for Jon to try to get it to the butcher shop in the back of his half-ton truck.

I try to help people whenever I can, especially friends, so I told Jon we’d get his Brown Swiss steer there, no problem. I’m hauling cattle and pigs most weeks, so chances were pretty good I’d already have the trailer hooked up on his butcher date if not already hauling some cattle in for our farm that day.

Usually, this would be the point in a story where I’d reveal how wrong I was in those assumptions, but thankfully this isn’t one of those stories. I have one of those from a couple of days ago that involves shing round bales out of a creek with the

skid loader at 2 a.m., but I will stay on topic here and possibly write about that next month.

The morning I had to get my friend’s steer to the butcher shop, the truck was, in fact, hooked to the trailer and no tires were unexpectedly at. My son, Jonnie, even came down to the barn and nished milking so that I could get going earlier. It turned out I didn’t have any cattle booked that day, so it would be a trip with a single steer in the trailer. This isn’t very efcient fuel-wise, but Jon was happy to cover the fuel anyway as $30 in fuel is much less than $3,000 to buy a trailer. So, no big deal.

It was a pleasant sunny morning, and their steer behaved quite well, letting us put a halter on him and jumping right up into the trailer with no hesitation. I wish every animal I hauled was that well behaved. A week ago, Dad, Emily and I had to use the manure spreader, a gate and the skid loader to load a couple of heifers into the trailer to take them to the pasture we rent in New Prague. They really did not want to go into the barn to load for some reason.

Jon joined me to haul his steer in, and we had a great time chatting on the way there, with the windows down, enjoying the weather. After dropping the steer off and sorting out the cutting instructions, we headed to Kwik Trip to rell our coffee cups and get some donuts for the drive home. We stopped off at my rented pastures which were on the way and moved the cattle to their next paddocks. The heifers who were such a pain to get into the trailer a couple of days earlier seemed to be very happy with all the grass they could eat and the attention from Willy the bull.

It’s not as easy to nd a friend to join me on errands as it was when none of them were married or had kids, but it’s worth checking what people are up to. A sunny early summer morning talking crops, kids and neighborhood news is good for mental health. Until next time, keep living the dream, and if you’ve got a friend you haven’t seen in a while, check to see if there’s an errand they could join you on or one you could help them with. Both of you will be happy you did.

Tim Zweber farms with his wife, Emily, their three children and his parents, Jon and Lisa, near Elko, Minnesota.

Page 38 • Dairy Star • Saturday, June 8, 2024
Tim Zweber Farmer & Columnist
LEEDSTONE Melrose, MN 800-996-3303 Glenco, MN 877-864-5575 Plainview, MN 800-548-2540 Menomonie, WI 866-467-4717 ZUMBRO AG SOLLUTIONS LLC Zumbrota, MN 651-380-2856 sioux dairy equipment Rock Valley, IA 800-962-4346 MIDWEST LIVESTOCK Zumbrota, MN 507-732-4673 Menomonie,WI 715-235-5144 Renner, SD 605-274-3656 Central ag supply Juneau, WI 920-386-2611 Baraboo, WI 608-356-8384 Leon Smith 715-314-0388 www.SmithsofWisconsin.com BY SMITH’S OF WI LLC Scabbling makes a 2.5 inch wide groove that is rough on the bottom and sides. This gives your cow traction at ALL times! Call us for ALL your slippery concrete needs! References available. We’ve been keeping your cows on their feet since 1987!!
From the Zweber Farm

A crazy busy summer

Happy June Dairy month. June is my favorite month of the year for many reasons.

It is exciting to see a lot of local businesses giving shout-outs to dairy farmers and hosting customer appreciation events. Dairy farmers are especially busy this time of year, tackling the rst crop of hay and nishing planting. By mid to late June, these tasks are usually done, and farmers get their rst “break” by dairy farming standards.

June is also a beautiful time of year. The weather is perfect, everything is lush and green and owers are blooming. The smell of fresh-cut grass and freshcut hay are two of my favorite scents. Seeing cows out grazing in pastures among the plethora of farms in the area lifts my spirits, showing the vibrant and full-of-life countryside of central Minnesota.

car.

While this was a minor issue that was quickly resolved, it still goes to show why dairy farmers are so hesitant to get away from the farm. However, it is important to get away even if it is just for an afternoon. There will always be chores and other tasks to be done, but taking time off to relax and spend time with family and friends does wonders for our mental well-being.

However, June is also a busy time of year for graduations and weddings. We have some of each of those this month to attend. Both of these types of events are fun family events but quite often occur during chore time.

My husband always says it feels like he has to work twice as hard if we need to take a day or evening off from the farm, quite often adding more stress to his already busy day. Yet, he looks forward to when we do take an afternoon off, especially if it is to spend time with family and friends. No one should have to feel like life is all work and no play. There needs to be a balance of work and free time.

Graduation parties are easier because we can do the afternoon chores early, then nd time to attend and still make it home in time for milking.

Last weekend we went to a couple of graduation parties in the area. We had gotten the rst crop of hay put up, so we were able to relax and take our time visiting with friends and family. Before we knew it, the time had come to round up the kids and head home for chores. As we were pulling up to our farm, we noticed there was a group of heifers frolicking around the yard, thoroughly enjoying their freedom. Thankfully, cattle are herd animals, and they quickly turned around and ran back up our driveway and back into their pen as we drove up honking the horn of the

Farming of any sort is a stressful occupation, and yet every farmer I have met is full of passion for and pride in what they do — and rightfully so. We may all love our job, but there is more to life than our careers. Anyone can be replaced at a job, but nobody can replace a loved one at home once they are gone.

We have three young children, and while they might not remember all the graduation parties, birthday parties and weddings we have attended this summer, we parents will. Children are only young for so long, and before we know it, we will be hosting graduation parties for our little ones.

Young people only graduate from high school once, a family member will only get married once and trips with family or friends may not happen every year. So it is important to take time to enjoy these moments with those who care about you. Cows may come and go, but the memories on and off the farm will last a lifetime.

Land Improvements

Dairy Star • Saturday, June 8, 2024 • Page 39 BENEFITS OF USING DIRECTIONAL DRILLING INSTALLATION INCLUDE: Continuation of Normal Operation Avoidance of identi ed Infrastructure Installation Maintain Integrity of Driveway, Roadways, Buildings, and Natural Features Little to No Disturbance to Wetlands or Other Sensitives Areas Many Unique Installation Capabilities Vs. Open Cutting/Digging (Entering underBuildings or Tanks) Minimal Site Restoration PRODUCT INSTALLATION Gas Lines Power Wire/ Lines Communication/ Fiber Optic Water Lines/Water Mains Drainage/ Tile Lines Forced/ On Grade Sewer Manure Transfer Lines
Drain Tile Design/ Installation • Ditch Cleaning & Grading • Fenceline Clearing Changing weather and higher inputs got you down? Using Drain Tile to manage excess moisture in the soil pro le is the foundation for increasing pro tability per acre. - Less compaction - Better soil Structure - Allows more days per year for eld operations - More Yields with same or less inputs Contact us m line! today to see how we can improve your botto MIKE HAESE MERCHANDISER 920-372-8549 ext: 1595 We can Supply your Bulk Feed and Bedding! Animal Feed Products: • Canola Meal • Corn Gluten Pellets • Dry Distillers Grain • Feed Quality Wheat Straw • Hominy • Oat Hulls • Soy Hull Pellets • Soybean Meal • Western Dry baled hay & Local dry baled hay • Wet Corn Gluten Feed • Wet Distillers Grain • Whole Fuzzy Cottonseed Animal Bedding Products: • Bedding Straw • Green Cut Sawdust • Kiln Dried Sawdust • Screened Freestall Sand We understand that running out of product has a negative impact on your margins. We have developed a network of storage facilities to draw from in case of a supplier shortage or breakdown, with a large trucking base to ensure timely delivery. www.SevenOaksTeam.com Call Us to Discuss Your Project Now! Chad Van Asten 920-450-2844 www.SevenOaksTeam.com SKIDLOADERS TRACTORS BACKHOES EXCAVATORS & BULLDOZERS joewelcheq.com 507-724-3183 Tell
advertisers you saw their ad in the Dairy Star! Hey!
the
Sign up for our up for our Newsletter Visit www.dairystar.com to sign up! Dairy St r Milk Break

FAST MILKOUTS

HIGH FLOW RATES

QUICK PARLOR THROUGHPUT

Optimizing your milking system is a delicate balancing act of many individual components that all work together. Trust the milking experts at GEA with your parlor. Our team has the farm experience, and the best selection of liners to help you achieve a maximum milking performance, day after day.

Contact Your Local GEA Milking Equipment Dealer:

Central Ag Supply, Inc.

Central Ag Supply, Inc.

Juneau, WI • 920-386-2611

Baraboo, WI • 608-356-8384

Centre Dairy Equipment and Supply Inc.

Centre Dairy Equipment and Supply, Inc.

Sauk Centre, MN

Sauk Centre, MN

320-352-5762 • 800-342-2697

Eastern Iowa Dairy Systems

Eastern Iowa Dairy Systems

Epworth, IA • (563) 876-3087

Fuller’s Milker Center, LLC

Five Star Supply

Lancaster, WI • 608-723-4634

Richland Center, WI • 608-347-4488

Fuller’s Milker Center, Inc.

J Gile Dairy Equipment, Inc.

Cuba City, WI • 608-744-2661

J Gile Dairy Equipment, Inc.

Leedstone, Inc.

Melrose, MN

320-256-3303 • 800-996-3303

Preston Dairy Equipment

Sparta, WI • 608-269-3830

Sioux Dairy Equipment, Inc.

Preston Dairy Equipment Let’s

Sioux Dairy Equipment, Inc. Rock Valley, IA

Leedstone, Inc.

Glencoe, MN

320-864-5575 • 877-864-5575

Plainview, MN • 800-548-5240

Menomonie, WI • 715-231-8090

Rock Valley, IA

712-476-5608 • 800-962-4346

Colton, SD Service • 800-944-1217

Stanley Schmitz, Inc.

Midwest Livestock Systems

Midwest Livestock Systems, LLC

Zumbrota, MN • 800-233-8937

Menomonie, WI • 715-235-5144

Renner, SD • 800-705-1447

Kaukauna, WI • 920-759-9223

Midwest Livestock SystemsKozlovsky Dairy Equipment

Weston, WI • 715-298-6256

Monroe WestfaliaSurge

Monroe, WI • 608-325-2772

Monroe Westfalia Surge

Edgerton, MN Chemical Sales 507-920-8626

Stanley Schmitz, Inc.

Tri-County Dairy Supply

Chilton, WI • 920-849-4209

Tri-County Dairy Supply

Janesville, WI • 608-757-2697

Page 40 • Dairy Star • Saturday, June 8, 2024 GEA.com/DairyFarming
talk good cow milking.
Global GQ-S Silicone Liner Global GQ-R Rubber Liner

Turn static files into dynamic content formats.

Create a flipbook
Issuu converts static files into: digital portfolios, online yearbooks, online catalogs, digital photo albums and more. Sign up and create your flipbook.