Sanger Sentinel September 2023

Page 1

SENTINEL

S A N G E R O C T O B E R 2 0 2 3

Sellabration Activities

CONNECT WITH US

City Hall Address

502 Elm Street

Sanger, TX 76266

Hours: 7:30 AM - 5:00 PM M-TH 7:30 AM - 11:00 AM F

Phone: 940-458-7930

Online: Sangertexasorg

Facebook: @SangerTexas

STAY CONNECTED

Follow us on all of our social media accounts

to stay up to date on everything Sanger!

@CITYOFSANGERTX | @SANGERPARKSANDRECREATION

@SANGERPOLICEDEPARTMENT | @CITYOFSANGERTEXASFIREDEPARTMENT

@SANGERPUBLICLIBRARY The

SENTINEL MAGAZINE
SANGER
City of Sanger
official podcast of
TX, The 266 Express
Listen Here!
launched the
Sanger,
.
OBS Wrap-up OBS Pictures Sanger EDC Sanger Library City Showcase History 03 Sanger Sentinel 2023 TABLE OF CONTENTS TABLE CONTENTS Sellabration Connect with Us Message from the City Manager Council Recap

HIGHLIGHTS CITY MANAGER

Happy October Sanger,

I hope this message finds you all in good health and high spirits. It always brings me immense joy to celebrate the vibrant community we have here. Your unwavering support and participation in our City events have made this place truly special. As we head into the Holiday Season, I'm thrilled to announce a series of exciting events in the coming months that showcase our community spirit:

Sellabration: Mark your calendars for October 28th, a day full of celebrations from 8 AM to 5 PM Sellabration, hosted by the Sanger Area Chamber of Commerce, promises an array of activities, vendors, and entertainment for everyone to enjoy

Safe Spook: As part of Sellabration, Safe Spook (trick-or-treating) from 2:30 PM to 5 PM It's a safe and delightful way for our children to celebrate Halloween

Festival of Trees: The Sanger Chamber of Commerce has begun accepting applications for the Festival of Trees sponsorships This is a wonderful opportunity to support a great cause and showcase your commitment to our community Trees will be lit during the Christmas on the Square celebration and remain up through the holiday season

Christmas on the Square and Holiday Parade: On December 2nd, the City hosts Christmas on the Square from noon to 9 PM, complete with a dazzling Holiday Parade. Parade entries open up in the first week of October, so be sure to secure your spot.

Don’t forget to check out our 266 Express Interview with Amanda Gibson, Chamber President, where she will discuss the excitement surrounding Sellabration. Also, remember your engagement in local governance is vital, and we welcome your participation. City Council meets the first and third Monday of each month. Agendas and times can be found on our website at the following link. Agendas & Minutes | Sanger, TX (sangertexas.org)

Our City thrives because of the people who call it home, and your active involvement in these events reinforces our sense of unity and pride Let's come together, appreciate our community, and make these upcoming months unforgettable

Thank you for being a part of this remarkable City, and I look forward to celebrating with you all

Warm regards,

SANGER CITY COUNCIL

Meetings

SANGER SENTINEL
THE SANGER CITY COUNCIL MEETS THE FIRST AND THIRD MONDAY OF EACH MONTH. LOCATION: SANGER HISTORICAL CHURCH 403 N 7TH STREET TIME: 7:00 PM WATCH THE MOST RECENT COUNCIL RECAP HERE.

UTILITY SERVICES

Customer Service

Contact Number: 940-458-7930

EMAIL: utilitybilling@sangertexasorg

Start/Stop Utility Service

Click Here

Click Here for on line utility payments

To report a water issue after hours, call: 940-299-5358

Sanger Utilities

The City of Sanger provides water service to City residents. The City also provides electric services to some areas of the community. Please contact our Utility Customer Service to confirm your provider

Trash and Recycling services are provided through Waste Connections

To start or stop service, please contact the City of Sanger Utility Billing Department or visit us on line at SangerTexas.org for more information.

Trash & Recycling

Trash and recycling services in Sanger are provided by Waste Connections and are billed by the City of Sanger monthly on your utility bills

For missed collections or service issues, contact Waste Connections: 800-909-9061.

For billing questions, contact Sanger Customer Service in City Hall at:940-909-9061 or email utilitybilling@sangertexas.org.

For more information, CLICK HERE.

For a list of frequently asked questions visit this site.

FAQs

The 1st year of the Old Bolivar Station Songwriter Festival is now in the books. We would like to offer a special thanks to all of our sponsors, 1886 Bar & Grill, Bolivar Street Revival, and Bear’s Cafe’ for hosting venues for our performers, and to all the residents, businesses, and visitors for helping to make our 1st year a success We learned a lot, and we are already making plans for next year.

SPONSORS

We hope you enjoy these images from the event. To see all of the pictures, please click the picture below in the right hand corner..

City of Sanger Bulk Pickup Guidelines

Bulk Pickup will be on your second pick-up service day

Up to three (3) cubic yards can be set out on your service day. See picture below of an estimate of what 3 cubic yards measures.

For tree limb pick up please add your address to the pick-up list on Sanger Connected or call 940-458-7930 For more information regarding tree limbs, please see our Brush Removal Service

DEVELOPMENT UPDATES

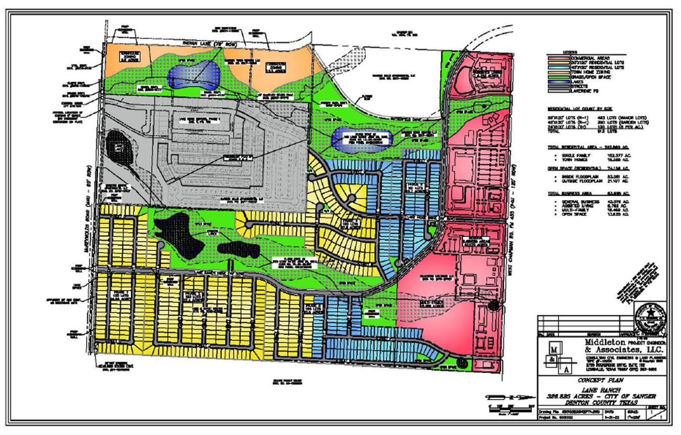
Mixed Use Development

131.82 acres of planned development

29.90 acres of single-family

29.29 acres of build-to-rent

30.04 acres of multi-family

3.07 acres of self-storage

2503 acres of commercial to include a 52,000 grocery store

Lane Ranch

FM 455/35 EXPANSION

TxDot Project. They control the flow of information. All traffic routing and changes are posted by the City as soon as they are made available.

Our portion of 455 is slated for completion in 2025.

I-35 will follow soon after (no end date projected yet)

I-35 Utility relocations to begin sometime next year.

~876 residential lots

~369 multi-family

Assisted living

43 acres of commercial

Located along W Chapman Rdjust east of Sanger High School

L I F E S A V I N G A W A R D

On Monday, September 18, during the Sanger City Council meeting, James Polley was awarded the Citizens Life Saving Award for performing life saving efforts to help someone in need.

S

ANGER

The Sanger EDC mission is to expand the local tax base, creating a diversified, vibrant, and sustainable economy and enhancing the quality of life for residents and the business community. Our primary focus is on business attraction, business retention, and marketing/tourism for the City of Sanger We love to help businesses achieve their goals To learn more about how we serve the community, drop by our office or schedule an introductory meeting.

Please contact sbrdshaw@sangertexas.org for more information or to schedule a meeting.

EDC

SANGER EDC

Property Enhancement Incentive Program

Are you a business in the City of Sanger that is looking to enhance your existing site visually or in ways that increase the viability of your property for business use? This program provides grants in the form of reimbursement up to ten thousand ($10,000) for eligible improvements to facades in the City of Sanger Participants are eligible for up to one (1) grant in a twelve (12) month period from completion of the previous grant The Program’s grant application process is administered by the City of Sanger’s Economic Development Corporation – applications and program guidelines are available online at www.sangertxedc.org. You can also call 940-458-2059 to speak directly with the Economic Development Office about the program, find out if your proposed improvement may be eligible for consideration, or with any questions or comments.

QT is Open for Business!

QuikTrip, one of the nation’s premier convenience and gasoline retailers, is now officially open.

Coming Soon to Downtown

Uptown Creamery will have several flavors of ice cream and sugar-free ice cream. They will also be offering shakes, cones, and more. Uptown Creamery will be located in historic downtown Sanger at 306 Bolivar.

SANGER
SENTENIAL

SANGER EDC

LET'S CONNECT

Our focus is assisting Sanger businesses with their needs and developing a working relationship to connect them with resources and programs that will improve the business climate and achieve economic success.

We want to get to know you and your business! If you would like to schedule an on-site meeting, please contact Shani Bradshaw at 940-458-2059 or by email at sbradshaw@sangertexas.org to arrange a time that is convenient for you. We look forward to hearing from you!

BUSINESS SPOTLIGHT

VIDEOS

In Sanger, we are passionate about business and even more passionate about local business. This is why we like to shop and promote local as much as possible. To help support and promote Sanger’s growing community of business owners and entrepreneurs, the Sanger EDC will produce free videos for our local businesses every year. These videos are shared across Sanger’s social media pages, and businesses are encouraged to share and use them to help promote their business. Check out the new spotlight video below:

Gypsy Cowgirl is Open for Business: click here Silver Lining Home Care Solutions: click here

Interested in having your business featured? Send us an email at sbradshaw@sangertexas.org with “Business Spotlight Video Request” as the subject line. Please include the following information in your email:

·Your name

·Your organization’s name and street address

·Your phone number

·A note about why your business is exciting or unique!

Job Listings

Is your business hiring? Let us help you advertise your open position! Every Tuesday, we will spotlight job opportunities that are available in our business community All we need from you is your company name, the position(s) available, and if the position is full or part-time.

SANGER PUBLIC LIBRARY

SANGER PUBLIC LIBRARY

SANGER PUBLIC LIBRARY

Sanger Sanger City City Showcase Showcase

Resident’s opportunity to meet with each department in the City.

On Thursday, September 14th, the City of Sanger hosted its first City Showcase. Residents were invited to visit with all City Administrative Staff and Directors to find out more about what is happening in Sanger

Each department had displays highlighting their functions in the City.

Each department featured their role in the City, accomplishments over the past year, and what to expect on the horizon.

The Sanger Public library highlighted all the new programs and special events for the upcoming year. Kids had the opportunity to spin the wheel to win one of several prize options.

The Wilfong Building

Area Historical Society and Museum

The town of Sanger still has many of its original “bones” in the downtown area, and many of the buildings have been the backbone of Sanger’s local businesses. Before the opening of Interstate 35 in August 1959, which passes along the western side of the town, the main thoroughfare was Highway 77, which is now known as Fifth Street The Gulf, Colorado, and Santa Fe Railway stopped in Sanger, and many passengers could walk a couple of blocks from the rail station to the Wilfong/Smith merchandise store to stock up on their needs and perhaps spend the night at a local hotel or boarding house.

The Skirvin family, from Oklahoma City, would make trips to Dallas for shopping excursions but would sometimes take the stop at the Sanger depot and spend the night. Their daughter, Perle Mesta became a well-known hostess in the Washington, D.C., political arena under several presidents. She rented a duplex in Sanger that was her get-away from the world she lived in as she remembered Sanger from her childhood days.

During the closing months of World War I, JM Wilfong built the 2-story building located on Bolivar Street. Large glass display windows ran along the east side and across the front, with two doors for entrance. The entrances were paved with black and white marble tiles, and in the center of each entrance was a foursided post, and each side had a full-length mirror. The Wilfong’s home, also on Bolivar, was built about the time of the large building. Research indicates this home may have been the home of a former Sanger school superintendent and later was home to the Henry Coopers. The home has been refurbished and occupied in the past couple of years. The Wilfongs had two sons, Hugh and J.M. Jr., and a daughter named Helen.

One of the older buildings still standing proudly is the Wilfong Building. Built-in 1917, J.M. Wilfong filled his dry goods store with merchandise from Dallas and St. Louis, Missouri. Wilfong was an innovator of the times and started a Sanger Profit Sharing Stamp redemption program. Other businesses participated, and a small book was used to post these stamps upon the purchase of goods This would be known as the future Green Stamp program The Oddfellows organization occupied the upper floor, and a side door allowed entry to a dentist’s office. Mr. Wilfong decided to build a store in Gainesville and sold his business to Jess P. and Dottie Mae Smith in 1934. The Russell family from Pilot Point had moved their business to Denton with much success so Mr. Wilfong thought moving to Gainesville would be his success.

Jess and Dottie Mae became owners of Jess Smith Dry goods in 1934. The dry goods occupied the first floor. Linens and sewing materials were on the east side of the first floor, and the middle of the large building held odds and ends such as small perfumes, women’s moisturizers, and sewing notions, among many other needs There were some women’s clothing, but the styles of the current day typically were not available in later years. The men’s wear on the far west side of the building sold work clothes mainly. There was a large 3-way mirror to see how they looked in a new fashion. There were men’s and women’s shoes, but again, the current style was not available very often.

Dr Stubbs, a local dentist, operated his dentistry business on the top floor with access up those back stairs of the Wilfong but later moved to the two-story building facing Fifth Street on the southeast corner of Fifth and Peach Streets. Dr. Stubbs retired and passed away in 1958.

The Wilfong building in later years was always referred to as Jess Smith’s. In passing by you can see the Wilfong name on the front top of the building but to most people of the town, it was Jess Smith’s A portion of the original top floor would be a meeting place for one of the local lodges and also served as a ballroom for graduating classes in the very early years.

In the early 1960s, there was a “youth center” that opened on the top floor of the building It had great promise for the youth of town but was to be used by high school students.There was a soda fountain although it is unknown if that was ever in operation. There was a jukebox and a pool table. A couple of the younger middle school students were curious, and one Saturday afternoon, they walked up that back staircase, which is still in existence. Upon arriving upstairs, a few high school guys were there and told the younger ones to “scram.” There are no records in our museum of when the youth center closed, but Lillian’s Drugstore just three doors away had it all: pinball machine, jukebox, and endless hamburgers, soft drinks requested in many varieties, i.e., brown cows, the famous suicide (made with a little squirt of all the soda syrups), limeades, cola, tea, bottled drinks sitting in a cold-water machine, coffee, sandwiches, and lots and lots of ice cream with single scoop cones, double scoops, banana splits, malts and shakes Lillian once decided to charge 10 cents per dip of ice cream but if you ordered a double, it was 15 cents. You can only imagine how many of the boys wanted to get that second scoop for just 5 cents.

Mr. and Mrs. Smith operated a successful business until the death of Jess in 1963, and Dottie Mae operated the store, along with her faithful employees, until she retired A public auction was held on February 22, 1972 In 1972, the store was completely remodeled, and a “middle” floor was added along with elevator services, allowing many offices to be made available to the public. Located at the southwest corner of Bolivar and Fourth Streets, the original façade of the structure is still in place.

In 2017, the Wilfong building was honored for its 100th celebration A nice crowd came to recognize the importance of this building in Sanger’s history

The downtown Sanger area has so much history. Our community is 137 years old. Many businesses from the late 1800s to the present day have had their presence in the area by either owning a business or being a customer. It is with gratitude that many of these historic buildings have remained

Jess Smith (right) with long-time employee Dick Haynie (left).
One of the original door handles into the Wilfong Building.
Dottie Mae Smith announcing her closure of the business.
www.SangerTexas.org

Turn static files into dynamic content formats.

Create a flipbook
Issuu converts static files into: digital portfolios, online yearbooks, online catalogs, digital photo albums and more. Sign up and create your flipbook.
Sanger Sentinel September 2023 by CityofSangerTX - Issuu