BizSold Magazine - March - May 2024 Issue

Page 1

FOR ADVERTISING INFORMATION, PLEASE CALL 1-877-337-1188 Modern Convenience Store Franchise • Qualify for C11 Immigration Program • Investment Starts from 100K+ • Financing Options are Available for Qualified Candidates farhanabsar@thedavisgroup.ca www.insmarket.ca 647-919-0645 EXPANDING IN MAJOR CITIES ACROSS NORTH AMERICA SEE OUR FULL PAGE AD FOR MORE INS OPPORTUNITIES YOUR GAS STATION SPECIALIST MANY BRANDED GAS STATIONS WITH AND WITHOUT FOOD ESTABLISHMENT ARE AVAILABLE * SEE THE BACK FOR MY LISTINGS * globalwestrealty.com 1.800.564.8383 BROKER MIRZA Z. CHAUDHARY Dir: 416.908.1575 mirzachaudhary@gmail.com INVESTINFRESH.com Franchise Developer 604.251.7444 Ext 122 Mobile:778.834.3941 UNIQUE MARKETING TOOLS DIRECT TO OVERSEAS CASH BUYERS ANDY YAO Sales Representative Your Property is Worth More SOLD PRICE HIGHER OVERSEAS CASH BUYERS READY TO Cell: (416) 839-7205 Bus: (416) 293-1100 Email: andyao39@gmail.com 多伦多楼市【微信公众平台】 Hotel, Plaza, Building, Land, Winery Wanted! ANDY YAO L Associates Inc., Brokerage OVERSEAS CASH BUYERS READY TO BUY! *Not intended to solicit buyers or sellers under contract Cell: (416) 839-7205 Bus: (416) 293-1100 Email: andyao39@gmail.com CELL: (416) 839-7205 • BUS: (416) 293-1100 WWW.HOMAX.CA • ANDYYAO333@GMAIL.COM 1051 McNicoll Ave, Toronto, ON M1W 3W6 OVERSEAS CASH BUYERS READY TO BUY! CONTACT US WWW.WINGSUPFRANCHISE.COM 289 834 2027FRANCHISEINFO@WINGSUP.COM ASSOCIATION OF REAL ESTATE BROKERS 416-214-4875 ICI World.com INSTALL APP SALES ARE MADE BY BROKERS MAKING CONNECTIONS BY NETWORKING INFORMATION BEFORE A SIGNED LISTING.
2,200 sqft FLEX INDUSTRIAL/COMMERCIAL CONDO for SALE Atul Gupta Marketing Manager 647•384•7798 Direct: New Door Realty Brokerage atul@gupta.ca Email: $1,450,000 BRAMPTON MLS W8064564 • 1 km to Home Depot & Walmart! • Hwy access to 407, 410, & 427. • Dock-level rolling door at rear. • 53′ truck manœuverability. • Clear height to beams is 18′5″ • Mezzanine level w/ extra 170 ft2 • Low TMI of $663·24 + HST. • Generous parking for visitors. Expansion to 4,000 ft2 can be arranged.² AIRPORT RD & WILLIAMS PKWY BEAUTY BOUTIQUE BURLINGTON, ON • Established Turnkey, one of a kind, chic and well known beauty boutique location in a great plaza surrounded by residential. Regular maintenance and kept well. • 5 manicure station, 3 pedicure station, 2 service room for facial, massage, waxing and eyelashes, handicap accessible washroom, staff room, kitchen with washer and dryer, storage spaces. • Large client list of over 4400, Strong and active Instagram and Facebook with followers of over 4100. Google review 4.5+ star. Facebook review 5star • Low lease cost, low operation cost, all products and machines included in sale • Thriving business since the day we opened, selling due to moving FOR MORE INFORMATION CONTACT JENNY $265,000 ASKING 416.880.1448 • JENNY-SY@HOTMAIL.COM BRILLIANCE NETWORK MINIBANK BUSINESS OPPORTUNITY + No Rent + No Utilities + No Employees + No Product to Stock + No Shrinkage + No Franchise fees + No Selling + Unlimited Income Potential + Easy & Fun Money Maker + Get Paid to Travel + Turnkey Investments + Passive/Residual Income + Low Risk + Save Taxes • Ease of Integration • Real-Time Reporting • Automatic Server Backup • Custom User Access Level • Recurring Billing • PCI compliance • Dedicated Merchant Support • Security FEATURES BENEFITS “EARN A FEE OFF EVERY ATM AND POS TRANSACTION!” ACCEPT PAYMENTS ANYTIME, ANYWHERE NUVEI.COM POYNT.COM www.BrillianceNetwork.ca Profitwarrior1@gmail.com VIRTUAL TERMINAL SMART TERMINAL ACCEPTS ALL OF TODAY’S & TOMORROW’S PAYMENT TYPES CALL 1-800-755-4435 TODAY FOR AVAILABLE AREAS • MERCHANT, AGENT & DEALER INQUIRIES GAS
& OTHER OPPORTUNITIES #1 REALTRON REALTY INC., BROKERAGE INDEPENDENTLY OWNED & OPERATED ANNIE XU SALES REPRESENTATIVE HEAD OFFICE: 88 KONRAD CRES., MARKHAM, ON L3R 8T7 25 YRS PROPERTY MANAGEMENT EXPERIENCE AMONG THE TOP 15 AGENTS IN THE OFFICE 905-470-9800 (OFFICE) 416-526-5369 (CELL) OR 416-420-3547 (CELL) ANNIEXU761@GMAIL.COM 7 DAYS 24 HOURS ALIVE AGENT. STRONG TEAM SUPPORT. 25 YEARS PROPERTY MANAGEMENT EXPERIENCE. 15 YEARS PARALEGAL EXPERIENCE. PRIVATE MORTGAGE. 2ND MORTGAGE. REFINANCE MORTGAGE. UP TO 90%. BEST RATE. LEAST REQUIREMENT. • BEAUTY NAIL. CORNER HUGE RICHMOND HILL PLAZA. TIM HORTONS. FRESCO. LBCO. FITNESS. ICE CREAM. PIZZA PIZZA. POPEYE. SUBWAY. $120,000 • BEAUTY NAIL. AURORA. MAIN STREET. BE YOUR OWN BOSS. $99,000 BE LANDLORD TOO $799,000 ALL INCLUSIVE. • 2.5 HOUR WEST GTA. CONVENIENCE STORE. GAS STATION. LAUNDRY. CANADA POST. UHAUL. BEER BOTTLE RECYCLE. SALES $1.1MIL/YEAR. CIG 65% LOTTO COM $3,500/MONTH. RENT $4500/MONTH PLUS HST. $399,000 • LOTTO KIOSK IN BUSY SCARBOROUGH MALL. LOW RENT $2500/MONTH PLUS HST. LOTTO COMMISSION $10,000/MONTH. SHORT HOURS. EASY OPERATION. $279,000 • 40 MINTS EAST GTA. CONVENIENCE STORE WITH VAPE STORE. SALES $17,000/WEEK. LOTTO $2000/MONTH. RENT $3000/MONTH PLUS HST. $249,000 MLS E6808692 Sold firm. Closing December 14, 2023 Convenience store. Sales $1.5million/year. Rent $3000/ month include tmi. Lotto $5,500/month. $799,000 MLS X7028570 Sold Cond. Closing December 28, 2023 Hamilton. Convenience store sub store. Same owner 22years. No competition. Business with property. $720,000 MLS E7065012 Sold firm. Closing December 21, 2023, Downtown Convenience store. Country style. Fried chicken. Vape store. 10 parking rental. Sales $1.2million/year. Rent $14,000/month plus hst. $299,000 www.BizSold.com
STATION
BUSINESS LOANS & MORTGAGES INC., BROKERAGE LIC#13200 • 3000 LANGSTAFF RD., #5 CONCORD, ONT. L4K 4R7 PH: 906-669-0119 COMMERCIAL FINANCING ¾ Business Purchase & Start Ups ¾ Commercial Property-Mortgage ¾ Equipment/Leaseholds Financing ¾ Business Plans & Analysis TOMSON JOSEPH blbrokerage@gmail.com (416) 618-1100 commercialfinancingandmortgages.com 29 BL Balvinder (Bill) Mavi Broker Cell: 416-569-6324 Off: 905-673-3108 1087 Meyer Side Dr. Unit 16, Mississauga, ON, L5T1M5 billmavi@yahoo.ca • mavirealestate.ca RETAIL SPACE FOR LEASE FRANCHISE HOTEL IN ALBERTA LIQUIDATION STORE IN BRAMPTON LEASE: $17.00/SF NET •In Busy S.t. Catherines Plaza •Premium 1,099 Sq Ft •Next to Big Box Stores •Great Exposure ASKING: $9.5 Million ASKING: $100,000 + Stock •114 Rooms •Increasing Revenue •Principals Only •Established for Over 22 Years •Owner Retiring after opening in 2000 •High Margins, Long Lease ESSO GAS STATION WITH PROPERTY FOR SALE BEAMSVILLE, ON • Adding a convenience store with lotto, Bit Coin & A TM services • Situated on the Ontario street of the flourishing town of Beamsville, Ontario • Newly constructed, everything is around 2 years old • Well-established business is profitable, fully operational & ready for immediate possession - just take the keys and start generating income • Property also includes a tenanted shawarma place, currently rented for $3300, and Garage space can be leased for an additional $3500 per month • 3 Underground Double-Wall fibre glass storage tanks of 110,000 Ltr Total Capacity. 3 Dispensers with 8 Fuel Nozzles. RAJ HANDA 905-798-0900 647-546-5228 BROKER OF RECORD OFF: DIR: HANDARAJNISH@GMAIL.COM $4,299,000 SPA AND MASSAGE BUSINESS FOR SALE VAUGHAN ON • Turnkey Operation • Freshly renovated with new floors, showers, accent walls, paint & equipment • Initial supplies to continue operations - Linens/towels, scents, cleaners, etc. • Reception desk and furniture including couches, chairs, tables, fridge and TV • Wall hanging electric fireplaces - total of 6 • Full camera security system • Existing business name • Zoned for multiple uses - Applicable to all spa types. • High volume location. • Revenues of $15k - $20k monthly. • No debt - Fully owned and funded by the owner. • Low overhead with no inventory to carry. • Affordable current monthly lease of $3539 + tax with supportive Landlord. • Established as a spa since 2012. $289,900 For More Info Contact Us At: 416•731•4293 • BIGSTEPHY33@GMAIL.COM Say you found it on BizSold

Poised for Immediate Sale! Lease is finishing and steel must be off the foundation pad by March 12/2024 so buyer needs to bring a few hands to disassemble. It does also currently have ~1” of spray foam insulation on the inside which will make it little more sticky while disassembling the pieces.

STRUCTURAL STEEL QUONSET HUT FOR SALE GRAND BEND (3 HRS FROM GTA), ON • Including all windows, doors, ceiling fans, and boiler unit. • Many extras • 28’W x 45’L x 16’H • No taxes. ASKING: $50,000 FOR MORE INFO CONTACT US AT PinnacleDistributing@protonmail.com 647-471-8322
BRAND NEW INDUSTRIAL UNIT FOR SALE MISSISSAUGA, ON • Prime Location • Minutes From 401 & 427 • Occupancy: Immediate • Total Unit Size: 1,995 SF including 744 SF of Mezzanine • Property Type: Industrial (Condo) MAHBOOB.CONSTRUCTIONPOINT@GMAIL.COM M: 647-702-2368 MAHBOOB ELAHI ASKING PRICE: $ 1,097,250 ACTIVE GREEN + ROSS COMPLETE TIRE & AUTO CENTRE BUSINESS NIAGARA FALLS, ON • Southern Ontario’s premier chain • For Sale In heart of Niagara Falls • Rent is Close to $3500 per month • Property is on lease of 5 years • Property owned by the head office • Asking price includes all the inventory • Recently Renovated in 2017 VAIBHAVDAVE4400@GMAIL.COM M: 647-5734241 VAIBHAV DAVE ASKING PRICE: $ 359,000 LANDSCAPING & CONSTRUCTION BUSINESS FOR SALE SERVING IN AND AROUND THE GTA • Established Clientele • Highly Profitable Business With Impressive Margins • Positive Cash Flow • Debt-Free Business • Thriving Market Offers Substantial Growth Potential • $405k Of Equipment And Assets Included • Diverse Services Offerd From Landscaping, Construction Snow Removal & More • Comprehensive Training And Ongoing Support Provided • Strategically Located Near Affluent Neighbourhoods • Independently And Professionally Valuated By Known & Trusted Valuation Firm FOR MORE DETAILS CONTACT US AT 647-208-2722 OR CONTACT@GREENALPS.CA www.BizSold.com
Prabjoth Rennu Realcap Realty Inc., realcaprealty.ca prabjoth.rennu@gmail.com 905.206.1900 | 1.844.206.1900 647-880-5563 Brokerage SALES REPRESENTATIVE BREAKFAST RESTAURANT FAT BASTARD BURRITO ESTABLISHED BAR & GRILL WITH PATIO FOR SALE SPORTS BAR FOR SALE IN BELLEVILLE ON CHUCK’S ROAD HOUSE ESSO GAS STATION • Sales 14K /wk • Reasonable Lease • NOI 20% • Great Reviews • Open 7 Days a Week • On Skip the Dish • + Car Wash • + Conveneince Store • + Coffee Shop Inside • On 2 Acres Lot $275,000 $5 Million • located in Quinte West, ON • Prime opportunity to continue a well established Fastfood business • Close to hwys, school, malls and growing communities • Busy Plaza with huge potential High traffic area, across from Walmart and Tim Hortons • Fabulous Opportunity To Own One Of Cobourg’s Premier Bar & Grill With Patio • Close To 850K In Yearly Sales • Quality Food, LLBO Licensed Restaurant In Cobourg’s Historic Downtown Business District • A Short Walk From The Famous Cobourg Beach & Marina • With A Combination Of Walk In And Loyal Cliental • Lease 5+5 Yrs • Seats 100 + 25 Patio • 1 million yearly sales • Year lease available • Asking 450k • VTB possible $299,000 $249,000 $450,000 $550,000 SOLD ESTABLISHED INCOME TAX BUSINESS HAMILTON, ON FOR MORE INFORMATION CONTACT PHIL 905.578.2883 • PHILCHAISSON@HOTMAIL.COM
Time-Tested Business: With a history of 50+ years, this income tax business has proven itself as a reliable and enduring presence in the industry.
Lots of Loyal Clients: Serving over 1700 regular clients, this business has built strong and lasting relationships, showing it’s a go-to choice for many.
Right in Hamilton: Located in Hamilton, the business benefits from a great spot, making it easy for clients to find and connect with.
Inclusive of Past Assets: When you take over, you get the computer & all the files, ensuring a smooth handover & keeping things simple for the new owner. PRICE: $25,000 COPPER BRANCH RESTAURANT FRANCHISE FOR SALE WINDSOR, ON FOR MORE INFORMATION CONTACT SAM 519.819.1942 • SAM@EMMANUELGRP.COM • The monthly rent for the space is $3300, which includes CAM and water expenses. • There are 9 years left on the lease with no rent increases, so it is a stable long-term arrangement. • Store only being open 6 days a week. There is potential for new owners to open 7 days a week and extend the hours of operation to increase revenue. • Overall, the store is profitable, especially if it is owner-operated. The biggest expense for us currently is labor costs, so there is definitely room for improvement in that area. $499,000 ASKING
KELLY’S GO KART BUSINESS AND PROPERTY FOR SALE SICAMOUS, BC • Business and Property on 0.88 Acres • Established Since 1984 • Great seasonal income • Property Owned with 3-bedroom house • All Inventory included • 21 Karts from single, doubles & kids karts • GO Kart Storage facilities on site • Recently Renovated Customer Waiting Area • Owner can stay on and help with transition $825,000 SPLIT OWNERSHIP OPTION AVAILABLE $412,000 FOR MORE INFO CONTACT US AT 250-869-5433 or rickmorgan1030@gmail.com CANNABIS STORE FOR SALE WINNIPEG, MB
Winnipeg’s favorite independent cannabis store.
Open almost 3 years and is profitable.
Located in one of Winnipeg’s most affluent communities.
950 ft.² with a reasonable lease
Over 30 onsite parking stalls for customers.
Asset sale with full support during ownership transition. ASKING: $549,000 tom@jupiterwinnipeg.ca 780-720-6348 Joyce TAo SAleS RepReSenTATive 416•399•8181 | Joyce_TAo@hoTmAil.com office building foR SAle in mARkhAm ReTiRemenT home foR SAle in london plAZA foR SAle - london bAncRofT golf couRSe loT ToRonTo ApARTmenT building medicAl building plAZA foR SAle 1 houR WeST of gTA $13,500,000 $8,500,000 $175,000 eAch $2,990,000 $8,500,000 $3,300,000 cAll foR deTAilS • 2.2 AcReS • 48,000 Sf • pRime locATion • heART of mARkhAm/ Rh • neT $400,000 • loT of poTenTiAl • 10 AcReS • TenAnT Signed demoliTion clAuSe • cAp 5.6% • vTb 60% • RedevelopmenT oppoRTuniTy • loT SiZe: 50 X 180 fT • on STAR golf couRSe. 139 AcReS of gReen. • fully SeRviced loT • $87,000 doWn WiTh vTb • 0 developmenT chARgeS • 9 RenovATed uniTS • loT SiZe: 98X120 • fully leASed • gReAT income, 5% cAp • poSSible To build STAck ToWn houSe. • ToRonTo • fully leASed • cAp 5% • 18,265 Sf • 30 pRivATe RoomS • RhRA licenSed • TuRnkey opeRATion • mAnAgemenT ARe in plAce • vTb • 6% cAp RATe!! • AAA TenAnT, 95% leASed, • oveR 10 AcReS • developmenT poTenTiAl • high TRAffic AReA noT AcTuAl locATion

NHANCE GREY/BRUCE - WOOD REFINISHING FRANCHISE

FOR SALE IN ONTARIO

Nhance Grey / Bruce is a franchise wood refinishing business that has been established in the Grey/Bruce area since Oct. 2019. It is part of the home improvement business sector. Typically focusing on kitchen cabinet refinishing, cabinet door and drawer front replacements. Other services are floor refinishing, granite renewal, furniture refinishing. The Franchisor for Canada is based out of Oakville, Ontario. The parent company is based out of Utah, USA.

FRANCHISE BENEFITS

• Provide proprietary products, i.e Lightspeed UV cured finish coatings

• Canadian Franchisor does National Marketing campaigns

• Provide website, https://nhanceontario.ca/greybruce

• Canadian Franchisor provides toll free and local #’s with a call center.

• Provide sales leads from website and phone inquiries

• Provides ongoing training.

• Very Scalable Business.

• Territory includes but not limited to, Collingwood, Meaford, Owen Sound, Bruce Peninsula , Port Elgin, Kincardine, Shelburne

FINANCIALS

• Sales info available upon request

• Franchise fees, set fees approx. $1000 month

Asking $85,000

for territory, existing inventory of Nhance products, Marketing materials and specific equipment for business operation.

• Well-established and profitable business that specializes in Quality Custom Cabinets.

• Providing highest quality Custom Cabinetry in the beautiful town of Sylvan Lake and surrounding area.

• An independent operated hands-on business, has built a solid reputation and customer satisfaction.

• Specialize in design excellence and quality for kitchens, bathrooms, entertainment centers, bars and built-ins for the entire home

• Turnkey operation.

• Include a 2200 sq. ft. light industrial condo/shop with a 400 sq. ft. showroom/office and mezzanine above

• Also included as part of the condo package, a 2000 sq.ft.

• Includes all equipment & tools pictured

• Owner is retiring and will be available for the future buyer(s) to ensure a smooth transition

• Great opportunity for an individual(s) for a self employed business and career in the field of woodworking

• Sylvan Lake is a thriving town that attracts an abundance of tourism for water sport enthusiasts.

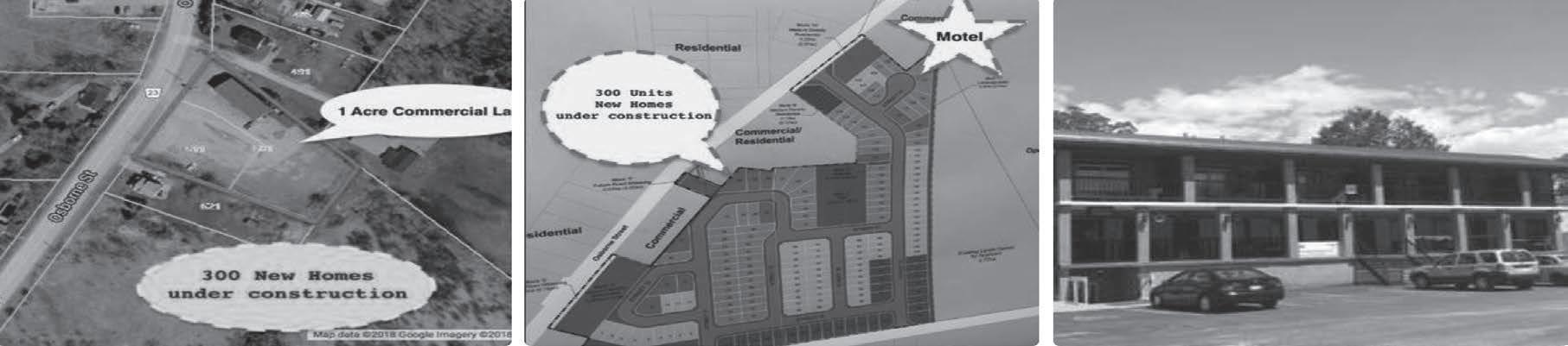
/ MOTEL

• GAS STATIONS / GARAGES

• RESTAURANTS / GROCERY / CONVENIENCE STORES

• CANNABIS OPERATIONS

• IT CONSULTING COMPANY

• LAND/CONSTRUCTION PROJECTS

• ALL KINDS OF CONTRACTORS, ELECTRICALS, HVAC, RENOVATION, PLUMBER ETC…

• ALL KINDS OF PERSONAL SERVICES: FITNESS/YOGA INSTRUCTORS, SPAS, SALONS ETC...

• ALL KINDS OF PROFESSIONAL OFFICES: LAW, REAL ESTATE, DENTISTS, DOCTORS, ETC

CONDO INSURANCE HOME INSURANCE LIFE INSURANCE SUPER VISA AUTO INSURANCE TENANT INSURANCE COMMERCIAL/BUSINESS INSURANCE PROVIDER 1-800-930-4940 • WWW.INSURANCETIGER.CA CFIB MEMBER DISCOUNT
TAXI / UBER DELIVERY /AMAZON
TRUCKING/LOGISTIC OPERATIONS
MANUFACTURING
INDUSTRIAL OPERATIONS
/
RETAIL PLAZA
WAREHOUSE OPERATIONS
/
MULTI FAMILY APARTMENT
BUILDINGS
RENTALS
• STUDENT
HOTEL
CONTACT US AT: 519-921.9244 OR PAUL.PEDERSEN@NHANCEFRANCHISEE.CA ESTABLISHED CABINET
MAKING BUSINESS SYLVAN LAKE, ALBERTA
FOR MORE INFORMATION CONTACT GREG 403.505.0123 • GWWOOD@TELUS.NET PRICE:
$545,000

CONTACT US AT 416-720-3010 • junkchuckersniagara@gmail.com

MBH & ASSOCIATES Franchise Consultants 416.432.0260 647.571.9662 Michael@mbhassociates.comBrian@mbhassociates.com • Blk Swan Burlington........$595K - $1.2M • Fionn’s Ajax....................SOLD • Fionn’s Orageville......................$395K • Tir Nan Og Kingston.........................SOLD • Fionn Hamilton.......................$995K • Square One.................................................................SOLD • Mississauga P.C (Italian) $2.2M • Milestones west GTA $1.7M • Milestones Moncton...................................................$2.2M • Milestones Kanata SOLD • Milestones Ottawa SOLD • Milestones Hamilton...................................................SOLD • Milton $1.3M • Calgary $1.8M • 30Min N/W of GTA $1.9M • Waterloo….…...............SOLD • 1 hr N/W of GTA SOLD • Stoney Creek SOLD • 45 Min West of GTA $2.2M • 2 Hours West of TO $2.3M • 30Mins W of GTA $1.5M • Cambridge 2 Locations $1.9M • Mississauga $1.9M • Burlington S $895K • East & North locations $3M EAST SIDE MARIO’S PUBS • Richmond Hill SOLD • Guelph SOLD • Peterborough $1.4M • 45 Min West of GTA $595K • Stoney Creek Conversion SOLD • Burlington $1.8M SWISS CHALET & HARVEY’S • Toronto N GTA $1.1M • Ottawa $1.3M CALL FOR MORE INFO RESTO-GRILL
BARS JUNK CHUCKERS FRANCHISE RESALE - NIAGARA REGION
ASKING $85,000 • Full Service Junk Removal Serving Niagara Region! • Healthy Profit for Investor Owner or Owner-Operator. • No Experience Necessary - Corporate Training Provided. • Property Not Included. • Low Royalty Fee Covers Call Centre and Much More! • Gross Sales Between $15K to $22K/Mo, Per Truck! • Earn More From Multiple Income Sources! • Grow to Multi-Truck Operation. ATM ROUTE BUSINESS FOR SALE IN GTA 20 LOCATIONS WITH ATM MACHINES SEMI PASSIVE INCOME OPPORTUNITY ASKING PRICE: $119,000 • Income: $2,500 to $3,500 monthly. • Unlimited Growth Potential. • Increase Income with Additional Machines. • Cash in Machines: Not included in the sale • Initial Cash Required to Load Machines: $25,000 • Transaction processing and location agreements included. • Financing and Payment Plans Available. CONTACT US AT +1(844)950-2867OR SALES@EXACTCASH.CA OR VISIT: OFFERS.EXACTCASH.CA/ATM-ROUTE-SALES
WINE
Justina Lyn Justina Lyn SALES REPRESENTATIVE 905.474.1772 contact.justinalyn@gmail.com 905.474.1772 contact.justinalyn@gmail.com Toronto Line: 416.324.2988 REALTY INC. BROKERAGE 8 Steelcase Road West, Markham, ON L3R 1B2 Passionate About Delicious, Quality Mexican Food? We’re Growing fast-casual Mexican inspired Chain Call now to inquire about the exciting locations that we have under development • Downtown Toronto • Brampton • Mississauga • Etobicoke • Markham • Barrie Call us now to inquire about the exciting locations that we have under development. Passionate about delicious, quality Mexican food? We’re a growing fast-casual Mexican inspired chain. Become a franchise partner! Food with a balance of nutrition and convenience. Fresh, high quality and tasty sandwiches with quick service. Locations in Food Courts, Office Towers, Triple A Malls, Universities & Colleges. CALL FOR DETAILS CALL FOR DETAILSCALL FOR DETAILSCALL FOR DETAILS CALL FOR DETAILS CALL FOR DETAILSCALL FOR DETAILS Providing customers with a variety of healthier snacks & beverages, conveniences & so much more! Locations in Downtown Office Towers, Triple A malls, Universities & Colleges. New concept and renovated locations available within the GTA and surrounding areas. Prime location just outside of the GTA with sales of $50K+/month and low rent. Excellent turn key operations! GTA location. High traffic location surrounded by high density residential. New Reno’s will be completed and included in price. JUST LISTED WANTED! WANTED! AVEDA CONCEPT SALON & SPA INDUSTRIAL SPACE BUSINESSES Located in York Region fronting on main road. Beautifully Designed Turn Key Operation. Can be operated as non-Aveda business by new operator. Large established clientele base. Great lease term. NEEDED ASAP Industrial space for recreational use for lease in York Region/Toronto. If you’re looking at marketing your business for sale, call or email for FREE market evaluation Space of a min of 10,000 SF up to 25,000 SF. Min ceiling height of 18 feet. Franchises, Coffee Shops, Cafeterias, Lottery, Well Established/Run Businesses BUSINESSES FOR SALE Real estate CentRe InC. BROKERAGE buyandsell@teamali.com Independently Owned & Operated 2011-20222012-2016-2022 2012 2016 Direct 1-800-326-9191 MR. SOUVLAKI CHURCH’S TEXAS CHICKEN OFFICE FOR SALE STAND ALONE DRIVE THRU • Sale of Property • Standalone Drive Thru Location • Seller Will Provide Turn Key Operations Or Buyers Can Have An Option To Do Their Own Constructions. $850,000 • Toronto Location • 1 Year New • Very Busy Plaza • Good Sales • Long Lease $350,000 • Locations Available With Development Agreement • Great Business With Fast Growth CALL FOR DETAILS • Ready Office’s Available • City Of Windsor • Good for lawyers or Any Professional Office • Approx 800 to 9,000 Sq Ft. $275/SF OFFICE FOR SALE POPEYES • GTA Location • Proven Business • Multiple Options • High Sales CALL FOR DETAILS STAND ALONE DRIVE THRU INVESTMENT • Eglinton & Ridgeway • 2 Rented Units • Excellent Tenants • Road Exposure • Very Busy Plaza • 2058 Sqft • Property For Lease • Stand Alone Drive Thru • Great Exposer • Lots of Parking • 14 Car Stack $900/SF $37/SF LAND DEVELOPMENT • 2.1 Acres Development Land • Mixed Us Zoning Can Be Developed As Commercial Plaza, Gas Station • Plans Available For Townhouse Subdivision. • Ready For Development. • Upscale Residential Area $2.1 MILLION BOSTON PIZZA • Excellent Location • Sales $2.2 Million • Low Rent Because Of Land Lease. • Great Profit $1.5 Million SOLD

416-520-3601 (24/7) Heritage Group Ltd. Brokerage GTA Tom Tsambourlianos BROKER Tom@ Heritage Group Ltd. Brokerage 2 HOMES ON A 40 ACRES + 2 BUILDINGS 8500 SQ FT PLUS 2ND LEVEL BONUS 20 MINS EAST OF HWY 404 OR 25 MIN NORTH OF 401 FROM BROCK RD (PICKERING) ACROSS UPPER CANADA MALL DEVELOPMENT OPPORTUNITY 180 X 160 FEET NEWMARKET | YONGE ST $4,400,000 • LOT 528 Feet x 3208 Feet • HOUSE 1- 3 BED Bungalow w Garage + • Finished Walkout Basement,Amazing Views • HOUSE 2- 2 BED WITH LOFT & Walkout Finished Basement 2 CAR ATT GAR+ 3 CAR DET Garage • POOL HOUSE 3- with Theatre Room / Bar /Kitchen / Bath / Garage • Great for Contractors, Yard, Large Families • •Also FOR SALE,100 Acres, Next Door ASKING PRICE $598,000 TORONTO EVENT LINEN $8,000-$12,000 WEEKLY SALES Turn-Key Earn $145k+ Net/Yr Staff Would like to remain with New owner-Full Training-Finance All Cleaning Done on Site Average Sales $434,000 Annually WANTED AUTOMOTIVE & CAR SALES • Sales $295k/Year-Remodeled 2017 • Great Lease $3340 Gross,4+5 Year • Same Owner since 1993 • Owner Operator Earn $75k YR • Do Not Go Direct -Co-Op Yes ESTABLISHED MR. SUB BURLINGTON 3%CO-OP 100 ACRE VACANT LAND UXBRIDGE Heritage Group Ltd. Brokerage 2 HOMES ON A 40 ACRES + 2 BUILDINGS 8500 SQ FT PLUS 2ND LEVEL BONUS 20 MINS EAST OF HWY 404 OR 25 MIN NORTH OF 401 FROM BROCK RD (PICKERING) ACROSS UPPER CANADA MALL DEVELOPMENT OPPORTUNITY 180 X 160 FEET NEWMARKET | YONGE ST $4,400,000 • LOT 528 Feet x 3208 Feet • HOUSE 1- 3 BED Bungalow w Garage + • Finished Walkout Basement,Amazing Views • HOUSE 2- 2 BED WITH LOFT & Walkout Finished Basement 2 CAR ATT GAR+ 3 CAR DET Garage • POOL HOUSE 3- with Theatre Room / Bar /Kitchen / Bath / Garage • Great for Contractors, Yard, Large Families • •Also FOR SALE,100 Acres, Next Door ASKING PRICE $598,000 TORONTO EVENT LINEN $8,000-$12,000 WEEKLY SALES Turn-Key Earn $145k+ Net/Yr Staff Would like to remain with New owner-Full Training-Finance All Cleaning Done on Site Average Sales $434,000 Annually WANTED AUTOMOTIVE & CAR SALES • Sales $295k/Year-Remodeled 2017 • Great Lease $3340 Gross,4+5 Year • Same Owner since 1993 • Owner Operator Earn $75k YR • Do Not Go Direct -Co-Op Yes ESTABLISHED MR. SUB BURLINGTON 3%CO-OP 100 ACRE VACANT LAND UXBRIDGE 416-520-3601 Heritage Group Ltd. Brokerage $3,395,000 2 HOMES ON A 40 ACRES + 2 BUILDINGS 8500 SQ FT PLUS 2ND LEVEL BONUS 20 MINS EAST OF 404 OR 25 MIN NORTH OF 401 FROM BROCK RD (PICKERING) ACROSS UPPER CANADA MALL DEVELOPMENT OPPORTUNITY 180 X 160 FEET NEWMARKET | YONGE ST $4,400,000 • LOT 528 Feet x 3208 Feet • HOUSE 1- 3 BED Bungalow w Garage + • Finished Walkout Basement,Amazing Views • HOUSE 2- 2 BED WITH LOFT & Walkout Finished Basement 2 CAR ATT GAR+ 3 CAR DET Garage • POOL HOUSE 3- with Theatre Room / Bar /Kitchen / Bath / Garage • Great for Contractors, Yard, Large Families • •Also FOR SALE,100 Acres, Next Door ASKING PRICE $598,000 TORONTO EVENT LINEN $8,000-$12,000 WEEKLY SALES Turn-Key Earn $145k+ Net/Yr Staff Would like to remain with New owner-Full Training-Finance All Cleaning Done on Site Average Sales $434,000 Annually WANTED AUTOMOTIVE & CAR SALES • Sales $295k/Year-Remodeled 2017 • Great Lease $3340 Gross,4+5 Year • Same Owner since 1993 • Owner Operator Earn $75k YR • Do Not Go Direct -Co-Op Yes ESTABLISHED MR. SUB BURLINGTON 3%CO-OP 100 ACRE VACANT LAND UXBRIDGE 416-520-3601 GTAHotProperty SellWithBessie Tom Tsambourlianos Bessie Tsambourlianos BROKER Heritage Group Ltd. Brokerage Tom@ Love YourBroker.ca Bessie@ Love YourBroker.ca (24/7) $3,395,000 2 HOMES ON A 40 ACRES + 2 BUILDINGS 8500 SQ FT PLUS 2ND LEVEL BONUS 20 MINS EAST OF HWY 404 OR 25 MIN NORTH OF 401 FROM BROCK RD (PICKERING) ACROSS UPPER CANADA MALL DEVELOPMENT OPPORTUNITY 180 X 160 FEET NEWMARKET | YONGE ST $4,400,000 • LOT 528 Feet x 3208 Feet • HOUSE 1- 3 BED Bungalow w Garage + • Finished Walkout Basement,Amazing Views • HOUSE 2- 2 BED WITH LOFT & Walkout Finished Basement 2 CAR ATT GAR+ 3 CAR DET Garage • POOL HOUSE 3- with Theatre Room / Bar /Kitchen / Bath / Garage • Great for Contractors, Yard, Large Families • •Also FOR SALE,100 Acres, Next Door ASKING PRICE $598,000 TORONTO EVENT LINEN $8,000-$12,000 WEEKLY SALES Turn-Key Earn $145k+ Net/Yr Staff Would like to remain with New owner-Full Training-Finance All Cleaning Done on Site Average Sales $434,000 Annually WANTED AUTOMOTIVE & CAR SALES • Sales $295k/Year-Remodeled 2017 • Great Lease $3340 Gross,4+5 Year • Same Owner since 1993 • Owner Operator Earn $75k YR • Do Not Go Direct -Co-Op Yes ESTABLISHED MR. SUB BURLINGTON 3%CO-OP SALESPERSON 100 ACRE VACANT LAND UXBRIDGE 2018 ASKING $959,000 1.396 ACRE VACANT LOT FOR ESTATE HOME YORK REGION • For upto 4,756 Sq Ft Executive Home Featuring 10 Ft Ceilings On Main Floor, 9Ft On 2nd Floor, 1,600 Sq Ft Attached Luxury Sized Garage With 12 Ft Ceilings Plus Extra 2,686 Sq Ft Walk Up Basement With 9Ft Ceilings. • Only 10 Minute Drive To Hwy 404, 5 Min Drive To Lincolnville Go Platform ASKING $3,998,000 25.2 ACRES FOR SALE 6523 BLOOMINGTON RD, STOUFFVILLE • Vacant Land Opportunity, build your future Country Estate! • Lot has 853 ft wide frontage • Near many multimillion dollar estates, Golfing, Musselman’s Lake, Go Train, Hwy’s 404/407, shopping and restaurants. 1.2 ACRE VACANT LOT OR ESTATE HOME STOUFFVILLE • For Upto 4,710 Sq Ft Executive Home Featuring 22 Ft Grand Foyer,10 Ft Ceilings On The Main Floor, 9Ft On 2nd Floor, 2,000 Sq Ft Attached Luxury Sized Garage + 2,568 Sq Ft Finished Walk-Up Basement With 9Ft Ceilings • 10 Min Drive To 404, 5 Min Drive To Lincolnville Go Platform ASKING $959,000 FLORIDA REAL ESTATE RESIDENTIAL, CONDOS, INVESTMENT PROPERTIES, RENTALS Now Licensed in Florida! ida! Call Bessie 416-471-8324 & Tom 416-520-3601 RECYCLING BUSINESS WITH 6.5 ACRES 31 NELSON RD CAMPBELLFORD, ON • Family owned Auto Wrecking/Salvage operation for Sale. • Turn-Key Business sits on 6.5 Acres, includes 1 Residential Home & 2 Building Structures • Includes 100 Ton Weight Scale, 5,000 lb indoor Scale, Hitachi 220 Escavator, 8000 lb forklift, 160 ton capacity scrap presser and more • Vendor willing to train (Call for details) ASKING $2,488,000 EXCLUSVE LISTING RESTAURANT/BAR HAMILTON ON ASKING $949,000
This is a well-established restaurant and bar in a great Hamilton location.
Loyal clientele and in business for several years, lots of parking available and a capacity for 100 people.
This restaurant has added feature of a patio for the summer and that can be available for private functions year round.
The price includes business and property. True turnkey opportunity.
Call
email me today
more information regarding this great opportunity. 793 Main St E. Hamilton, ON citybrokerage.ca GORDON NOBLE DIR: 289-788-8421 gordon@citybrokerage.ca SALES REPRESENTATIVE 289-389-2323 RETIREMENT HOME FOR SALE IN ST. CATHARINES Irene Delorraine 416 939-0737irene.delorraine@evrealestate.com Realtor-advisor, CCIM, MCNE, CIPS Phone: E-mail: • Intersection of the QEW & Niagara St., 2.2Km from Downtown St. Catharines • 2 Separate Buildings • Assisted Living - 61 suites. • Independent Living - 86 suites private & semi-private accommodations from 240-540 SF & recently upgraded • Assisted Living wing has High level of Security with private outdoor space, allowing residents with dementia. • Independent living with benefits • Newly installed phone system, allowing effective communication between staff and residents, allowing quickest response in case of the emergency. • Zoning allows additional development up to 60 rooms • Current Net operating Income of 1.2M • Projected Net Income of 2.4M $22,500,000 PRICE
or
for
GLUTEN FREE ME BOUTIQUE BAKERY BUSINESS FOR SALE IN COLLINGWOOD, ON FOR MORE INFOMRATION PLEASE CONTACT US AT INFO@GLUTENFREEME.TODAY Uncover this exceptional opportunity that awaits you - the ownership of Gluten Free Me an established and dedicated GF boutique bakery which specializes in a wide variety of deserts created from scratch. GFM operates in a unique and rapidly growing market niche and has a significant catchment area with minimal competition. The bakery not only enjoys high local customer loyalty amplified through word of mouth but is a destination point for tourists who are gluten intolerant attracted by social media & 5 Star reviews. The bakery is well situated in central downtown Collingwood The current owners are retiring and at an age they are unable to take GFM to the next level. A number of growth opportunities exist, including: • Developing wholesale partnerships with grocery stores, a variety of retail outlets, cafes and restaurants, who wish to provide gluten free options to an expanding market. • Leveraging digital marketing strategies & online ordering services providing either convenient pickup, delivery or shipping. $154,800 LE PETIT CHEF UNIQUE RESTAURANT BUSINESS 2 LOCATIONS FOR SALE IN ONTARIO » Located in downtown Toronto » Lower level is event space » Total net sales $2,300,000 since opening on June 2022 » Additional income of $65,000/ yr from lower level » Rent $10,735 TMI & HST included, utilities extra » No increase for 5 years, 5+5 term » Located on the main street of downtown Guelph » Lower level is partially finished and licensed, currently unused » Perfect for private events or entirely separate business » Total net sales $366,000 since opening on August 2023 » Rent $8,023 TMI & HST included » No increase for 5 years, 5 + 5 terms INFO@JOKERS.CA M: 905-424-0628 ESFANDIAR KALANTAR LOCATION: TORONTO LOCATION: GUELPH $ 699,999 $ 299,999 HIGHLY REGARDED HAIR STUDIO IN PRIME WATERLOO REGION CALL FOR DETAILS: 519-748-7057 • Well-established business • Positioned within a major complex. • Constant flow of foot and vehicular traffic. • Professionally designed and well-appointed. • Large scale with 15 chairs and 4 basins. • Contemporary and luxurious atmosphere. • Attracts new clientele regularly. • Owner willing to stay on during transition • Leading hair studio in a high-growth area. • Modern interior design • Prime location in outdoor shopping center. • Anchored major brand stores. • Ample traffic and high visibility • Plenty of free parking • Suitable for experienced, passionate and dedicated Salon Owners ASKING PRICE: $400,000 SALES REPRESENTATIVE Dir: 416-523-0395 Off: 416-213-7209 latimerhal5@gmail.com REPUTABLE EDUCATIONAL FRANCHISE FOR SALE IN AURORA, ON $199,900 • Fabulous Opportunity To Own & Operate A Well-Known, Reputable Educational Franchise • Located In A High Traffic Plaza On Bayview Ave In Aurora • Successful Business For Over Seven Years • Offers Both In-Class & Online Tutoring • Head Office Provide Continual Support • Close To Schools & Residential Areas • High Visibility Plaza With Anchor Tenants TD, Royal Bank, Canadian Tire, Cineplex, Goodlife Fitness www.BizSold.com
WE ASSIST BUSINESSES WITH FINANCING & ADVISORY SOLUTIONS WITH MORE THAN 25 YEARS OF EXPERIENCE IN DEALING WITH ALL TYPES OF LENDERS INCLUDING BANKS, CREDIT UNIONS, AND ALTERNATIVE FINANCING SOURCES. BHAAGYA AWASTHY MANPREET MANN MORTGAGE AGENT LEVEL 1 • LICENSE # M23007944 PRINCIPAL BROKER • LICENSE # M20001680 (289)-452-0907 (416)-525-6266 BAWASTHY@SEACLIFFCPE.COM MMANN@SEACLIFFCPE.COM SEACLIFFCPE.COM ; Commercial Mortgages ; Hotels ; Gas Stations ; Land & Construction ; Small Business Loans ; Residential Mortgages SEACLIFF CAPITAL & PRIVATE EQUITY INC. BROKERAGE LIC. #13530 Brian McKinlay 905-260-1568 905-985-4300 bmckinlay@live.com Sutton Group Lifestyle Real Estate Limited Brokerage BROKER Dir: Off: www.ontariocampgroundsforsale.com • Seasonal Trailer Park Over 3000 ft of Water Frontage • 82 Site plus 2 cottages fully approved with ECA • $2700-$3900 yearly site fees • Brand new bio-filter system for septic • Expansion room for 66 new sites MOBILE HOME PARK - RIDEAU LAKES AREA • Year-round Mobile Home Park 21 Sites • Solar Field generating $1000/month • All on 6 Acres • Near Maintenace free Investment $781,000 KAWARTHA LAKES AREA • 395 ft of Water frontage on Trent serviced Lake • 37 Acres with room to expand • Total 131 sites with metered hydro sites • Pool and 8 Cottages • Yr round 1400 sq ft 3 Bed Home • Presently Under Conditional contract $5,000,000 SOLD BY BRIAN SEASONAL TRAILER PARK OVER 3000 FT OF WATER FRONTAGE $2,800,000 SHORT DISTANCE TO GEORGIAN BAY $3,500,000 • Seasonal 15 acre Resort 11 Kms from Owen Sound & Georgian Bay • 70 HWS sites, 20 HW, 9 Tent ,7 Cabins • Sites ranging $2856 - $3,800 per season on 30 Amp breakers Sep Meters • Inground pool • Year round Owners home on property HARSH PABLA 416•846•2213 HPABLA@PRGREALESTATE.CA PRG Real Estate BROKERAGE INDEPENDENTLY OWNED & OPERATED BROKER HYBRID OFFICE & WAREHOUSE FOR SALE IN BRAMPTON DEV. LAND + BARN & WORKSHOP IN NIAGARA FALLS 2ND FLOOR OFFICE SPACE IN BRAMPTON TRUCK YARD & VACANT LAND FOR SALE IN MONO 1,000 SF MIXED-USE SPACE IN BRAMPTON • Hybrid Office and Warehouse Mixed Unit in Prime Industrial Location • This Unit Features Fully Functioning Office and Working Bathroom • Two Storey Warehouse Offers Abundant Storage Space and Backs out to a Drive in Dock Door for Easy Transportation • Suitable for Workshops, Manufacturers and Small Warehouses • Property is 31.86 acres of land with bungalow, workshop, barn and auxiliary building • Located at the end of the road, total privacy • Surrounding lands already pruchased by builders, upcoming residential detach, semis and towns • Second floor shell unit in a brand new plaza • Can be used for any office or medical office • Highly populated area with lots of foot traffic • Future developments planned in the area for bigger growth • Fully built out plaza with numerous professional businesses operating • Perfect Parcel of Land located in Mono • C3 Zoned with many uses permitted including Truck Yard • Truck Parking Industrial Lot, Outside Storage Permitted, Close to Hwy 10 and Hwy 9, Orangeville • Entrance on two road. *Extra* lot is gated and fenced yard. • Main floor shell unit in a brand new plaza • Shell Unit capable of housing many different kinds of businesses • Uses include but not limited to salon, barber, dry cleaner, phone store • Future developments planned in the area for bigger growth • Highly populated area with lots of foot traffic CALL FOR MORE DETAILS CALL FOR MORE DETAILS CALL FOR MORE DETAILS CALL FOR MORE DETAILS CALL FOR MORE DETAILS
INX LANDMARK REALTY VISHAL VALSADIA VISHALVALSADIA@GMAIL.COM BROKER OF RECORD VARIOUS DEVELOPMENT OPPORTUNITIES LOOKING FOR A QUALIFIED JV PARTNERS/ SHAREHOLDERS MIN 5% TO MAX 25% FOR SUBDIVISION OPPORTUNITIES VARIOUS SITES UNDER CONTRACTS & LOOKING FOR MORE SITES FOR DEVELOPMENTS AT ANY STAGE UNDER CONSTRUCTION STAGE UNDER APPROVAL FOR SALE NEW! FOR SALE SERVICED LOTS READY TO BUILD OVER 150 HOMES • 36 TOWNHOMES - PENETANGUISHENE • 39 TOWNHOMES- BELLEVILLE FOR MORE INFO EMAIL: VishalValsadia@gmail.com • 70+ TOWNHOMES IN KINGSTON PRICE TO SELL $5.2 MIL - City of Kingston • NEAR GEORGIAN BAY - $35 MIL • SERIOUS INQUIRIES ONLY SOLD • 250 MIXED HOMES • PRICE $5.2 MIL - 70+ STACK TOWNS/FREE HOLD TOWNS DRAFT PLAN APPROVAL END OF 2022. • Draft Plan approved a total of 35 Townhomes + 2 Legal Detached Duplexes • In the heart of the Kingston city- surrounded by Newly built subdivision. • Currently a Six Plex Generating an Income • FIRM PRICE $3.7 MIL - VTB may be considered for a qualified Buyers- Brokers Protected FINE
& BAR FOR SALE IN CAMBRIDGE, ON PRICE: $999,000 • Cheap and Long lease • Brand new restaurant on Busy location of Hespeler in Cambridge • Ready to make top dollars in business with no startup costs • Stand alone building • 70 parking • 3000 sqft • 100 seats • 150 capacity inside • Best chef and Bar Tenders with great staff • Finest Audio Video system • Monthly sale average $80k • Projected sale for next year is $1m • All furniture and chattels inside the bar included • Outside Containers not included • Inventory not included • Dish washer and glass washer on lease • Do not approach anyone directly • Do not talk to staff • Appointment needed People’s Choice Realty Inc., Sales Representative Ambrish Saini Direct: 647-808-4328 Office: 416-742-8000 ambeeinfo@gmail.com Brokerage • Zoned M@ • Fully Tenanted Building • 16 Feet Ceiling Clearance • 16,108 Sq Ft Total Area • Parking Ratio 2.22/1,000 SF • Built in 1970 • 8 Loading Docks • Nine 100-amp Panels • Foundation Masonry Block & Concrete $8,300,000 MILAD HANNA BROKER DIR: 647-704-5020 OFF: 416-747-9777 MILADHANNAREAL@GMAIL.COM MULTI UNIT INDUSTRIAL FREESTANDING BUILDING - BRAMPTON
DINE RESTAURANT

SHOP AND OFFICE SPACE FOR SALE MIDLAND, ON
Premium location on a busy highway with plenty of parking
1.9 acres of land with 356 feet of frontage. 2500 sq ft shop and office space
Package includes land, building and rental income from boat storage municipal water and sewer installed in 2023
Sales and service business is also available
Seller wishing to retire
Amazing opportunity $1,690,000 FOR MORE INFORMATION CONTACT LEO 705.361.1894 • LEO@HOUSEGUY.CA TURN-KEY PAYDAY LOAN BUSINESS FOR SALE ONTARIO • Capitalize on a high-demand market with seamless entry • All necessary infrastructure in place for smooth day-to-day operations
Explore expansion opportunities in both existing and new markets • Turn-key payday loan business opportunity
Built-in measures for adherence to industry regulations
Receive support from experienced professionals in the field
Access a broad customer base with effective marketing strategies
Automated software to approve and fund loans quickly and easily PRESTON@WATSONCAP.CA M: 778-955-5644 PRESTON WATSON TURN-KEY PRICE: $50,000 GLASS MANUFACTURING BUSINESS - HIGH PROFIT MARGINS PRICE: $7,250,000 • Thriving Business Established 25+ years • Existing Canadian & USA Customers • North American Sales & Distribution network • Light manufacturing of luxury building materials • High profit margins and growth potential PATRICK POWER Cell: (416) 988-1592 Off: (416) 988-1592 Email: patrick@power-org.com powerrealtycan.com President / Broker of Record 14 ROOM RETIREMENT HOME IN HANOVER DOWNTOWN • Located in the heart of hanover downtown, near casino & racing • Highly demanded business • Need someone who loves to work with seniors. • Close to church and hospital and all amenities. • New Elevators, All rooms filled, Option for Lhin Contract, also options to expand. Dir: 647-819-4004 jeffinvjoseph7@gmail.com PRICE $1,999,999 Jeffin Valayil Joseph SALES REPRESENTATIVE Say you found it on BizSold
2 LOTS WITH DETACHED HOUSE FOR SALE IN NORTH YORK • 2 lots of 43x110 each to build two 2 story detached house • Over 3000 sf • 2 attached car garage • Walk-up basement ASKING: $1.2M MAJID KHOSHAB 416-568-4575 MJKHOSHAB@HOTMAIL.COM BROKER TURNKEY RESTAURANT BUILDING FOR SALE IN PLAZA LOCATED IN INGLESIDE LYNN WHITE BROKER M: 613•361•1225 O: 613•932•0001 LWHITE7@COGECO.CA • In a bustling neighborhood Ingleside Plaza offering a picturesque view of the St. Lawrence River. 1 hr from Ottawa & 1 hr from Montreal • Charming updated 74 seat fine dining room has become a staple within the community and has developed a loyal customer base. • The prime location has benefitted from many local annual events and traffic at nearby Upper Canada Village, The Long Sault Parkway, camping, golf and cycling.
Recent years have permitted a large outdoor patio for additional seating. Ask the Listing Agent for more information about this.
Upgrades including new membrane roof, storefront windows, and fully renovated interior.
Sellers are open to options such as purchase of building only and other types of retail business models will be considered as well. $599,000 CANNABIS STORE FOR SALE ORANGEVILLE, ON • Private loyalty program over 1,500 members • The rentable area is 1,295 ft • The gross rate/foot is $32.15 with TMI • Over $500,000 in renovations • Option for rent subsidy until renewal • Owner will assist with transition BILL@THEGRIMETEAM.COM M: 416-605-7736 BILL MARLETT ASKING PRICE: $ 200,000 RENOVATED RETAIL SPACE FOR SALE IN MISSISSAUGA • Open Space Layout Can Be Converted To Suit Your Business. • Great Opportunity With Large Land • Currently Used As Surface Parking with Lots of Parking Available • Business Uses Range From - Retail, Dental, Medical, Law Firm, Real Estate Office, Montessori School, Day-Care and More. • Surrounded By Many Residential Homes and New Condos Currently Being Built. • Excellent Foot Traffic In One Of Mississauga’s Prime Locations! MIKE NAKEEB BROKER DIR: 416-917-7090 OFF: 416-769-1616 MNAKREALTY@GMAIL.COM $4,499,000 Located In Prime Streetsville Location. Unique Opportunity For Investors Or End Users. This Space Has The Capacity To Cater To Various Professional Business Uses. Currently a Health and Beauty Spa Offering a Turnkey Experience With Luxury Finishes and High Quality Fixtures. www.BizSold.com

Since 1994, INS Market has solidified itself as the most modern instant gratification store in the market. Our focus is to provide our customers with the largest selection of beverages and snacks which are not only in demand, but also a healthier alternative on a daily basis. We are proud to be a high profile retailer of modern convenience with over 120 stores across Canada and the US.

INS Market has developed an efficient and proven system that meets needs and exceeds expectations through branded, traceable and reliable products and services at a value price point.

INS Market stores are located in high traffic areas with locations on some of the busiest streets across Canada; including mid- and large-size office buildings, public transit, malls & institutional areas. Our highly versatile concept allows us to easy adapt to spaces of all types of configurations.

FARHAN ABSAR VICE PRESIDENT OF FRANCHISE DEVELOPMENT
(647) 919-0645 farhanabsar@thedavisgroup.ca
BRITISH COLUMBIA
ALBERTA MANITOBA ONTARIO QUEBEC ILLINOIS SASKATCHEWAN 120 + stores HOW TO GET STARTED Inquire Meet Our Team Application & Approval Financing options are available for qualified candidates. KIOSKS HOSPITALS IN-LINE (MALLS, SCHOOLS) STREET OUTLETS
HIGH PROFILE RETAILER OF MODERN CONVENIENCE PEEL MEMORIAL HOSPITAL 20 Lynch St, Brampton. ON Approx. 2,578 SF Hospital location with INS Market, INS Food & PizzaPizza programs included in purchase price Lottery approved $295,000 119 SPADINA 119 Spadina Ave, Unit 102, Toronto, ON Approx. 1,642 SF Historical building steps to TTC 501 streetcar & future Ontario Line Lottery approved $150,000 SQUARE ONE SHOPPING CENTRE 100 City Centre Dr, Unit #1-728, Mississauga, ON Approx. 485 SF Ontario’s largest shopping centre with 25M visitors per year Lottery approved $150,000 FAIRVIEW PARK MALL 2960 Kingsway Dr, Unit M022, Kitchener, ON Approx. 330 SF Mall location with 10M+ shoppers yearly Lottery approved $135,000 GEORGE BROWN CASA LOMA 142 Kendall Ave, Unit #E110, Toronto, ON Approx. 425 SF College location with over 31K students enrolled Lottery approved 100,000 ROYAL BANK PLAZA 200 Bay St, Unit #0109, Toronto, ON Approx. 448 SF High-traffic office & PATH location with access to Union Station Lottery approved $130,000 SUN LIFE CENTRE 150 King St W, Unit #C140, Toronto, ON Approx. 656 SF Existing INS Market location with $500,000 in lotto sales per year Lottery approved $100,000 RBC CENTRE 155 Wellington St W, Unit 139, Toronto, ON Approx. 376 SF Located within 41-storey office tower with PATH access Lottery approved $100,000 $ 701 - 130 Queens Quay E, Toronto, ON M5A 0P6 WWW.INSMARKET.CA @insmarketcanada 2 TALBOT ST 2 Talbot St, Jarvis, ON Approx. 2,400 SF Well-maintained free-standing store with surface parking Lottery approved 145,000 THE BOW 840 St. Clair Ave W, Unit 3, Toronto, ON Approx. 506 SF Office location with over 58 floors in tower above Lottery approved $130,000 9925 JASPER 9925 Jasper Ave, Edmonton, AB Approx. 1,115 SF Walking distance to Edmonton Central Station and various hotels Lottery approved $120,000 LIME RIDGE MALL 999 Upper Wentworth St. Unit 0277B, Hamilton, ON Approx. 509 SF Visited by over 6M shoppers in 2022 Lottery approved $100,000 $ For YOUR convenience... at YOUR convenience.

Jewellery Business For Sale

•Highly

•Turn

•More

•Newly

•Over

• An

• Recently Renovated Environmental-Friendly Dry Cleaning Plant

• Main Machine (Only 7 Yrs Old)

• Weekly Sales (Ave.) $4,000

• Rent $4,888 (TMI+HST Included). 5+5 Years Lease Since August 2023

• Lots Of Condos Under Construction Nearby & No Direct Competition

• High Retail Prices & Steady Good Income

• The price includes all equipment, chattels and fixtures.

• The Seller Will Train After Closing.

• In a vibrant plaza, surrounded by extensive

units.

• Features include a recent renovation, cutting-edge software, Upgraded Computers and owner-provided training.

• Enjoy a secure location with a renewed 5+5-year lease from October 2023, at a monthly gross rent of $5,527.35 (including Water, TMI, and HST).

• With different owners and a legacy spanning over 40 years, this high-profit business boasts an excellent reputation.

• Please respect the No Direct Visit Policy.

• Please verify all information through the buyer’s agent.

• An outstanding opportunity to lead a wellestablished venture!

SATTAR S HOMELIFE/BAYVIEW REALTY INC., BROKERAGE Sattar Erfanian Pour BROKER DIR: 416-930-0908 VISIT MY WEBSITES HOMEINDEXER.CA • SATTARREALTY.CA Sattar@homeindexer.ca PREMIER DRY CLEANING AND ALTERATION PLANT - RICHMOND HILLRENOVATED ENVIRONMENTALLY FRIENDLY DRY CLEANING PLANT - TORONTOPREMIER DRY CLEANING PLANT & ALTERATION - VAUGHAN- ASKING PRICE$189,000 - ASKING PRICE$157,000 - ASKING PRICE$125,000 • In a vibrant plaza, surrounded by extensive residential units.
Features include a recent renovation, cutting-edge software, Upgraded Computers, and owner-provided training.
Enjoy a secure location with a renewed 5+5-year lease from October 2023, at a monthly gross rent of $5,527.35 (including Water, TMI, and HST).
With different owners and a legacy spanning over 40 years, this high-profit business boasts an excellent reputation.
Please respect the No Direct Visit Policy.
Please verify all information through the buyer’s agent.
outstanding opportunity
lead
well-
venture!
to
a
established
residential
LAND EXCHANGE LTD., BROKERAGE INDEPENDENTLY OWNED & OPERATED Renate Sieber-Schlegel BROKER OF RECORD DIR: 519.531.1177 www.RemaxLandExchange.ca Vacant Residental Land - Kincardine, ON Fantastic 4 Plex - Blyth, ON 4 Plex - Blyth, ON Newly Built 3 Plex - Blyth, ON Newly Built 4 Plex - Blyth, ON Vacant Industrial Land - Kincardine, ON $5,400,000 $849,000 $899,000 $995,000 $1,349,995 $3,524,400 • 5.54 acre Multi-Residential Scenic Development site • Zoned for up to 195 units and can up to 4 blocks • Large park area with Penetangore River frontage • Natural topography can be utilized for underground parking • Close to the corner of Broadway and Highway 21 • Each unit comes with its own single car garage • Attractive vinyl and stone siding • Open concept design, seamlessly flowing into the living roomr • Approximately 1080 square feet per unit • Each unit comes with its own single car garage • Attractive vinyl and stone siding • Open concept design, seamlessly flowing into the living roomr • Approximately 1080 square feet per unit • Offers the perfect blend of comfort and convenience, • Features a modern design and boasts a garage & ample parking • 2 bedrooms and 2 bathrooms in each unit, this property provides spacious and comfortable living spaces • Desirable and convenient living option • Features a modern design and boasts a garage & ample parking • 2 bedrooms and 2 bathrooms in each unit • Provides spacious and comfortable living spaces • Quiet community setting ensures a peaceful and relaxed atmosphere, allowing residents to enjoy a sense of privacy • Located at the Bruce Energy Centre & Ready for Development • Strategically and conveniently located at this well-established industrial hub adjacent to Bruce Power • Water, Sewer, Hydro and Natural gas at lot line • Build-to-Suit option is available for long term lease Info@tekjewellers.com MOB: 905.853.6271 www.tekjewellers.com
motivated seller
key business
than 25 yrs in business at the same location
renovated
20 jewellery displays
cabinets
and
All
included
jewellery grade lighting and fixtures
certified safe
Fully equipped alarm system and large UL
Lots
repair
making
of
and jewellery
equipment
1000
boxes with company name logo
Selling for just $39,999 OBO (inventory not included but can be discussed if interested)
Approximately
jewellery
and phone number
in Newmarket, ON ASKING PRICE: $39,999

• Numerous upgrades and the potential for future development, this is an investment that guarantees both immediate returns and long-term growth.

• Lucrative Income Potential: The high demand for vacation rentals in this area ensures a steady stream of rental income and attractive return on investment.

• Established Reputation: Benefit from the property’s established reputation and loyal clientele, ensuring a smooth transition and immediate cash flow.

• Prime Location: The desirable location, surrounded by natural beauty and recreational opportunities, guarantees possible year-round bookings and repeat visitors.

• Flexible Usage Options: Perfect for both personal use and investment purposes, allowing you to enjoy a serene waterfront lifestyle while generating income from the rental units. What an opportunity to live and love where you work!

SUHAS KULKARNI REAL ESTATE CONSULTANT Mobile: Office: 778•840•4537 604•456•0873 SUCANS@GMAIL.COM SELMAKREALTY.COM • Subject space- 950 SF • Lease Rent- 3700/month • Sales- 400K Plus/year • Excellent Location, lot of walking Traffic, Commercial environment • Subject Space- 978 SF, 50 Seatings • No Demolition clause • Full commercial Kitchen, No Walk-in Cooler, Sliding door Freezer • Contract Manufacturing • Health Canada approved 40 Plus products. (Herbal supplements + Organic Herbal powders) • Sales- Local + Exports + Online + Amazon • Space- 2000 SF • Full commercial Kitchen, Liquor Licence • Capacity- 50 seating • NDA Required • Business for last 20 years • Two Trucks, Trained staff • Website, Client Database, Low rent, Possible Relocation CONVENIENCE STORES COQUITLAM RESTAURANT BUSINESS FOR SALE VANCOUVER BC NATURAL SUPPLEMENTS MANUFACTURING - VANCOUVER PROFIT MAKING INDIAN RESTAURANT - VANCOUVER MOVING BUSINESS BURNABY $225,000 + INV $349,000 + INV $1,700,000 + INV $128,000 $329,00 + INV ALL INFORMATION AND NUMBERS TO BE VERIFIED WITH THE SELLER AS REQUIRED. • Established for 16+ Years • 5-Star Rating Online • Long Standing & Loyal Customer Base • 2,500 SQFT Unit In a Busy Plaza • Lease Term: Month to Month, open for extension • Included: Display Racks, Forklift in great condition, 20-30K Inventory FOR SALE: $100,000 FOR MORE DETAILS CONTACT US AT 519-716-2944 or nealysflooring@bellnet.ca ESTABLISHED FLOORING BUSINESS FOR SALE IN KITCHENER MARK RUTTAN Broker Cell: 705-446-7220 Off: 705-422-2400 info@markruttan.com EDGEWATER BY THE BAY WHERE THE BEACH IS YOUR BACKYARD! FOR MORE INFO CONTACT: RESORT PROPERTY ONLY $849,900 • Amazing Location - Just steps to Beach Area #1 in Wasaga Beach. • 10 Housekeeping Suites; Fully Furnished And Equipped With 6 X 1 BR, 3 - 2 BR Units, 1 X 3 BR + Owners/Managers Apt. • MLS# 206024 REDEVELOPMENT LAND WITH BUILDING 13 UNIT MOTEL FOR SALE COMMERCIAL BUILDING FOR SALE INVESTMENT PROPERTY & LAND EST. MOTEL + 2 RETAIL SPACES SIMCOE COUNTY - WASAGA BEACH SIMCOE COUNTY - WASAGA BEACH SIMCOE COUNTY - WASAGA BEACH SIMCOE COUNTY - WASAGA BEACH SIMCOE COUNTY - WASAGA BEACH • 300+ FT of Frontage Near Casino Building Site • Presently a School Building Apporx 6,000 Sq Ft • Approx 4 Acres of Property(Possible Re-zoning) • In Prime Location Walking Distance to Wasaga Beach • 9 Double and 4 Single Units + 3 Bdrm Residence • Approx 5,200 Sq Ft • Approx 1,700 Sq Ft, In The Heart of Tourist Area • Great Income Property - Commercial Restaurant + Full Bsmnt + inform from 15 Units with ample parking. • 412 Ft of River Front • 22,969 SF - 38 Units across 4 Bldgs & 4 Cottages • Each Unit has Kitchen, Bath, AC, & Gas Heating • 16 Unit Motel + 1,200 Sf Retail Space • Gross yearly Income Approx $200,000 • Tenants Currently month to month $3,995,000 $3,799,000 $3,995,000 $2,900,000 MOTEL & PROPERTY FOR SALE WASAGA BEACH, ONTARIO BROKER REMAX BY THE BAY BROKERAGE MARK RUTTAN MARK RUTTAN Broker Cell: 705-446-7220 Off: 705-422-2400 info@markruttan.com EDGEWATER BY THE BAY WHERE THE BEACH IS YOUR BACKYARD! FOR MORE INFO CONTACT: RESORT PROPERTY ONLY $849,900 • Amazing Location - Just steps to Beach Area #1 in Wasaga Beach. • 10 Housekeeping Suites; Fully Furnished And Equipped With 6 X 1 BR, 3 - 2 BR Units, 1 X 3 BR + Owners/Managers Apt. • MLS# 206024 REDEVELOPMENT LAND WITH BUILDING 13 UNIT MOTEL FOR SALE COMMERCIAL BUILDING FOR SALE INVESTMENT PROPERTY & LAND EST. MOTEL + 2 RETAIL SPACES SIMCOE COUNTY - WASAGA BEACH SIMCOE COUNTY - WASAGA BEACH SIMCOE COUNTY - WASAGA BEACH SIMCOE COUNTY - WASAGA BEACH SIMCOE COUNTY - WASAGA BEACH • 300+ FT of Frontage Near Casino Building Site • Presently a School Building Apporx 6,000 Sq Ft • Approx 4 Acres of Property(Possible Re-zoning) • In Prime Location Walking Distance to Wasaga Beach • 9 Double and 4 Single Units + 3 Bdrm Residence • Approx 5,200 Sq Ft • Approx 1,700 Sq Ft, In The Heart of Tourist Area • Great Income Property - Commercial Restaurant + Full Bsmnt + inform from 15 Units with ample parking. • 412 Ft of River Front • 22,969 SF - 38 Units across 4 Bldgs & 4 Cottages • Each Unit has Kitchen, Bath, AC, & Gas Heating • 16 Unit Motel + 1,200 Sf Retail Space • Gross yearly Income Approx $200,000 • Tenants Currently month to month $3,799,000 $3,995,000 $2,900,000 PRICE: $2,399,000 • Turnkey property situated on 101 feet of prime land along the picturesque Nottawasaga River.
Exceptional property boasts
well-appointed units, including an office space with two-bedroom living accommodations.
14
Lixia Lin COMMERCIAL REAL ESTATE IN NIAGARA BROKER OF RECORD 905-325-7882 lixia@elongrealty.com elongrealty.com COMMERCIAL PROPERTIES FOR SALE COMMERCIAL PROPERTIES FOR LEASE BUSINESS FOR SALE 3 Star Flag Hotel near Clifton Hill 38 room Motel in Niagara Falls Standalone 4000 SF Unit in Niagara Commercial Mix in Downtown Niagara Falls Bed & Breakfast COMMERCIAL MIX IN FORT ERIE Chinese Restaurant for saleJapanese Restaurant for sale Convenience Store in Niagara Falls Chinese Restaurant with Apartment Group Home Building $1,299,000 $1,999,900 $2,880,000 $188,000 $880,000 Call For Details $1,198,000 $1,800,000 45 Acre Farm Land Commercia Mix in Downtown Niagara Falls Restaurant and apartment in Chippawa, Niagara Falls 11,000 SF Restaurant in Niagara Falls • Fully renovated hotel rooms • 3 restaurants with AAA tenants • Ample parking • Victorian style bed &breakfast • Steady good income with high rating • 5 ensuite guest rooms and one attached owner apartment • Close to Niagara River and the Falls • 7 cottages, 9 units • Private Boat Launch and Beach • Lots of Upgrade and Reno • Great Income and Potential 17 Bed Retirement Home $2,200,000 • Close to Niagara River • RHRA licensed • Cap rate between 8-17% • Close to Niagara River • Three commercial properties • 1 restaurant, 2 commercial units, 5 apartments • 3 vacant commercial units available • A vacant lot with commercial zoning • Authentic Chinese food • One of 2 Chinese restaurants in tourist area • Chef and employees will stay • Very successful Sushi restaurant in Niagara Falls • Walking distance to the Falls • Great reviews online • Lots of local repeating customers • Long established with 60+ year in business • Turn key with long term repeating customers • 3 bed apartment attached • Perfect setup for a family • Located in tourist area in Niagara Falls • Seafood and Cantonese cuisine • Approximate 2000 sq ft restaurant • 3 bedroom apartment • 150*165 ft oversized lot with 5600 sq ft building • 12 ensuite units • Proposed 7 luxurious street townhouses • Located in DT St Catharines with lots of potential • Walking distance to Clifton Hill • Draft plan to put 10 story commercial mix • Near all attractions and restaurants • Located on Stanley Ave • Highway exposure • 4000 sq ft space, TC zoning • Potential for restaurant and souvenir store • 16 fully renovated motel rooms • 2 restaurants with huge kitchens • Ample parking • Walking distance to the Falls • 1 house, 1 greenhouse and 1 barn • Close to highway 406 • 1.2 acres with 3 buildings • Well established Thai restaurant • 6 room apartment on second floor • Ample parking with potential to build on • Close to Niagara River Parkway • Overlooking skywheel and other attractions • Close to waterpark • Walk to the Falls SOLD LEASED SOLD SOLD SOLD SOLD PENDING LEASED SOLD Commercial Unit in Downtown Fort Erie Restaurant in Downtown Niagara Falls Tourist Commercial Unit on Highway 420 Greenhouse on QEW $1,000/Mo $15,000/Mo Call for Details $8,000/Mo • Walking distance to Niagara River • Close to banks, post office, restaurants, etc • 700 sq ft • Utilities included • Walking distance to the Falls • Close to highway exit with high traffic volume from Toronto • 3000 ft standalone building • Located on Stanley Ave, the tourist district • Close to hotels, gas stations, and all restaurants • 30,000 sq ft glass greenhouse • Highway exposure • Lots of opportunities, incl selling greenhouse and outdoor equipment Long Point Cottage Resort
MARCH 2024 - MAY 2024 | Say you saw it on BizSold! PAGE 1 PLAZAS PROJECTS/DEVELOPMENT LAND INVESTMENT Sales Representative 647.668.4272 Leonardo Hara Let a Real Estate Investor, Manager & Realtor Help You Sell, Buy or Manage Properties, Implementing Optimal Marketing, Management and Investing Strategies... www.LeonHara.com Smart Choice Realty Solutions Brokerage Office: 416.743.2285 leohara@rogers.com 4.5 Mil – 116 Unit Apartment Building Approved 150 KM WEST Zoned 188 Unit Development London, ON - $5,640,000 LAND FOR SALE 160-unit zoned retirement home development - 5.3 mil 120 KM EAST Res./Com. Sites in KWC area – 1-15 mil VARIOUS DEVELOPMENT 16.5 Acres – 17 Mil Excellent Location – Various Uses CALEDON 200 Apartments + Commercial Space – DPA – 6 Mil 90 KM WEST zoning approved for 300 k residential - 9 Mil BARRIE land for development of about 110,000 s.f. residential – 5 mil MISSISSAUGA Zoned 240 Unit Development Opportunity$8,500,000 -10 acres parcel KINGSTON Proposed 320 units + Commercial at ground level – asking 22 mil SCARBOROUGH Lakeshore – 210 k s.f. development - 16.5 mil TORONTO 200,000 s.f Condo site + Commercial - 20 mil SCARBOROUGH NIAGARA REGION AAA tenants – 31.5 mil – 7% Cap Rate 120 KM WEST 34 mil Good Tenants and 10 storey hotel to be built TORONTO WEST PLAZA – CONDO DEVELOPMENT 56 mil – Net – 1.8 mil – Concept for 1500 Condos 100 KM WEST 43.5 mil – 6% cap rate NIAGARA FALLS NICE APPARTMENT BUILDING 8.5 MIL – 4.5% CAP RATE LOW INTEREST 1ST MORTGAGE ASSUMABLE 120 KM WEST – 4.3 MIL 10% CAP RATE RETIREMENT HOME 7 MIL -34 UNITS LONDON APARTMENT BUILDING STUDENT HOUSING DOWNTOWN 51 ROOMS 11.2 MIL – 5% CAP RATE NIAGARA REGION 7-PLEX 1.3 MIL – 6% CAP RATE BIG PLAZA WITH AAA TENANTS + CONDO DEVELOPMENT - 180 MIL TORONTO 200 KM NORTH EXCELLENT TORONTO OFFICE BUILDING LONDON 6 PLEX EXTREMELY NICE RETAIL/OFFICE BUILDING GOOD TENANTS - 3.2 MIL 7.8 MIL. 6% CAP RATE 900 K- 6% CAP RATE
For Advertising Information Please Call 1-877-337-1188 or visit www.BizSold.com | VOLUME 24 ISSUE 1 PAGE 2 100 acres land opportunity 16 bldgs in Hamilton : Please Contact Plaza for sale $3M-$15M good cap rate Commercial Land Development Opportunity. Great Location Hotels in GTA and Nova Scotia for sale $8M- $45M Lighting Business + 2 warehouse full of Inventory, Call for details Retirement Homes for sale: $1.6M - 8M Optical Store In Toronto for Sale Call for details Estate Homes Land Development Opportunity: Niagara Region Site Plan Approved Land to build Plaza Great Location Motels for sale: $4.7M Church/Place of Worship: for sale in GTA Multi Residential Building in East of Toronto Please contact Multi Residential Building in Niagara Region Please Contact Truck stop available for sale in desirable location Please Contact for Details Residential Development land in Multiple locations: Please Contact for Details Land Development Opportunity for 52 Town Houses Please Contact for Details Golf Course with Development Opportunity: Please Contact Details Gas Station for sale in Multiple Locations Please Contact for Details Church for rent in Mississauga: Call For Details Home for Special Care in Ottawa and GTA for Sale Please Contact for Details Broker of Record DIR: 416-819-0009 realtorrobbypruthi@gmail.com WWW.COSMOREALTY.CA 289-296-1216 Robby PRuthI NOT ACTUAL PICTURES OF THE PROPERTY FOR CONFIDENTIALITY REASONS MIX USE PROPERTY IN PRIME DOWNTOWN TORONTO LOCATION GREAT NET INCOME. UNDERGROUND PARKING. 4000 SQ.FT. + 1800 SQ.FT. MEDICAL BUILDING IN NIAGARA FALLS FULLY OCCUPIED WITH GREAT TENANTS. PRIME LOCATION. 7% CAP RATE. MULTI-UNIT MIX-USE BUILDING WALKING DISTANCE TO THE WORLD FAMOUS FALLS. 4 RESIDENTIAL UNITS + COMMERCIAL. GREAT POTENTIAL FOR FUTURE DEVELOPMENT SITE. ASKING PRICE: $1.19M DEVELOPMENT LAND IN NIAGARA FALLS HOTEL OR CONDO/APARTMENT SITE WITH COMMERCIAL SPACE. TOURIST COMMERCIAL ZONING. CLOSE TO QEW HIGHWAY AND U.S.A. BORDER. MULTI-RESIDENTIAL PROPERTY IN NIAGARA 18 BEDROOM BUILDING. LOCATION WITHIN 5 MINUTES OF DOWNTOWN. ASKING PRICE $1.6 MIL CARWASH BUSINESS FOR SALE IN NIAGARA FALLS HIGH TRAFFIC LOCATION AT ONE OF NIAGARA FALLS’ BUSIEST INTERSECTIONS. EXCELLENT NET INCOME. SPACIOUS FACILITY OVER 5000 SQ.FT. ONLY $599,900 SELF-STORAGE FACILITY LESS THAN 1 HOUR FROM TORONTO. WELL KEPT 114 UNITS + PARKING SPACES FOR LEASE. NET INCOME OVER $274,000. ATTRACTIVE CAP RATE. OPPORTUNITY FOR FUTURE RESIDENTIAL DEVELOPMENT SITE PLAN APPROVED AND SHOWEL READY DEVELOPMENT SITE WALKING DISTANCE TO THE WORLD FAMOUS FALLS. UP TO 73 UNITS TO BE BUILT WITH OVER 83K OF SQ.FT ON 1.2 ACRES OF LAND. EXCELLENT MULTI-FAMILY INVESTMENT PROPERTY 1 HOUR FROM TORONTO 31 FREEHOLD TOWNS WITH 3 BEDROOMS WITH ROOM TO ADD 20 MORE UNITS. OVER 3 ACRES OF LAND. GREAT NET INCOME. PROPOSED DEVELOPMENT SITE FOR STACKTOWNS OR CONDO/APARTMENTS LAND ASSEMBLY ON A OVER AN ACRE OF LAND IN SOUTH END OF NIAGARA FALLS. NEAR COSTCO, WALLAMART AND ALL OTHER AMENITIES Koshy thomas DIR: 416-388-5578 koshy0610@yahoo.ca Broker o F F: 905-793-1111

• Non-franchise Bubble Tea shop in Sought-after Longham Square Anchored By T&T Supermarket!

• Busy plaza surrounding high-rise residentials.

• Good exposure at the parking lot with Good walking traffic.

• Contemporary design and decor easy to convert to other brand or continue the profitable business.

• Easy to run and short hours.

• A lot of repeat customers.

• All chattels and equipment and tools included.

• Bubble tea formula also included.

• Le Poke Station – the Healthy and Trendy Poke Bowl Franchise!

• Simple and Profitable! Proved Successful and profitable businesses model!

• Fast growing! 60 stores in Quebec in 4 years!

• No experience required; full training and full support!

• No headache for employee, easy to train and less demand

• Excellent management and sales support system!

• Low set up cost! Low operating costs! High Margin!

• In Financing prefer list of the tier 1 banks

• Less than $100k you get a new store and the profitable business!

MARCH 2024 - MAY 2024 | Say you saw it on BizSold! PAGE 3 OWNER RETIRING AND RELOCATING. ONLY ASKING $450,000 ASKING $550,000 OWNER RELOCATING! PRICE FOR QUICK SALE ONLY ASKING $498,000 ASKING: 1,050,000 INCLUDING $180K INVENTORY AND $50K RENT DEPOSIT ASKING $228,000, BUSINESS NOT INCLUDED. BUILDING CAN BE SOLD FOR $1.2MIL Only the leasehold improvement, fixtures, furniture and equipment included ASKING $198,000 ASKING $598,000, INVENTORY AROUND $50K EXCLUDED ASKING $75,800, INCL. ALL INVENTORY AROUND $60K AND EQUIPMENT AND TOOLS AROUND $30K ALL INCLUDED! GET THE PROFITABLE BUSINESS FOR FREE! ONLY ASKING $195,000 VERY PROFITABLE WELLNESS AND REHAB CENTER IN TORONTO FOR SALE PROFITABLE RENOVATION AND GENERAL CONTRACTING BUSINESS IN GREATER TORONTO AREA FOR SALE VERY PROFITABLE CANNABIS RETAIL BUSINESS IN TORONTO FOR SALE PROFITABLE PET BUSINESS ONLINE AND OFFLINE BUSINESS FOR SALE FROZEN FOOD MANUFACTURING SHOP IN SCARBOROUGH FOR SALE HIGH-END AESTHETIC, MED-SPA CLINIC IN TORONTO FOR SALE PROFITABLE AND EASY TO RUN IMPORT/EXPORT DISTRIBUTING BUSINESS IN TORONTO FOR SALE PROFITABLE HANDCRAFT BUSINESS WITH ABSENTEE OWNER IN TORONTO FOR SALE ESTABLISHED PIZZA OUTLET IN YORK UNIVERSITY FOOD IN TORONTO FOR SALE We Can Assist Qualified Buyers To Get Business Loan Up To 75% CALL FOR MORE UNLISTED BUSINESS AND PROPERTY! Celine Xu gtaceline@yahoo.com BROKER “Homelife Chairman Award Winner” “Top 5% Agents in Canada” “Member of Grand Master Club” MBA 416-879-8848 DIR: 1-888-884-0105 TOLL FREE: ONLY ASKING $98,800 ACT NOW! CALL 416-879-8848 TO KNOW MORE!
Waterfront property with appr. 7.27 acres; 52 boat slips + 8 cottages all with kitchen & washrooms + 14 RVs • Only Working 6 month with a team of matured staff; Absentee owner Business in the same place for 60+ years. • Only 1 hr 40 mins driving from GTA; • Loyal repeat customers, very stable income. Most income from boat storage Lots of potential with a hands-on owner PROFITABLE BUBBLE TEA SHOP IN LANGHAM SQUARE FAST GROWING FRANCHISE OPPORTUNITY! LOW COST & HIGH PROFIT! ONLY ASKING $2,490,000, INCLUDING PROPERTY+ EXISTING BUSINESS+EQUIPMENT AND TOOLS ETC. MARINA BUSINESS & PROPERTY FOR SALE CALL FOR DETAILS • Closest major Intersection Just 3 Mins drive to Amazon Facility on Steeles Land Area: 2 Acres • Ceiling Height: 20 Foot • Loading Docks: 7 • Drive-In Doors: 2 Sprinkler system installed Fire Certificate available • Clean environmental reports as of 2016 – available • Principal only! 45,000 SF INDUSTRIAL BUILDING FOR SALE IN TORONTO ASKING $900,000 FOR INVENTORY ONLY 30-YEAR-PROFITBALE B2B EQUIPMENT SUPPLY & SERVICE BUSINESS • Opportunity knocks! Price for inventory only! You get the profitable business for free! • Rare chance to own a very profitable business with no competition! • Well-established B-to-B butcher equipment supply (new or used) and maintenance business. • Very stable clientele and good income! Long-term clients, including premium large meat plants. • Pandemic proof! Over 1 million sales occurred during COVID. 2023 is over 1.3mil sales even the owner only run it for 9.5months. Owner retiring after over 30 years of successful operation! Willing to provide training and support for up to 12 months to the new owner. • Easy to relocate or 5+5 new lease is ready if the buyer wants to stay Excellent location, in a very busy big plaza • Successfully running at the same location for many years No marketing or ads now, mostly repeat clients and walk-ins Mature staff, the owner only goes to the store 1-2 times/week for monitoring • 11 rooms incl. 2 couple rooms are always full Multiple RMTs stay in the store • Long lease still 6+5 remaining. • Professional renovation and general contacting business based on West GTA Specializing in basement renovation, remodeling and addition construction • Strong sales over 1.2millions+ annual sales with a lot of repeat customers and referrals • Very profitable and low cost with special material supply channel Price including over $300k vehicles, trailers, equipment and inventory! • Seller financing with at least 50% may consider for qualified buyers! • Amazing Opportunity To Own A Fast Growing and Profitable Cannabis Dispensary Located in the Heart of North York! • Street front access on busy Yonge Street. Good exposure! • Heavy walking traffic with a lot of walk-ins & repeat clients! Excellent Google review! • Surrounding with lots of condo buildings and office buildings. Fully of residential and commercials! • Fully Licensed and professionally finished! • Turn-Key Business and make money from the first day! Strong sales! Over 1.7mil/year • Very strong online pet supply business with over 10,000 registered users Combined with 900 sqft store with grooming business • Store in a master plan condo community with 16 condo buildings Excellent lease with exclusive use in the community • Newly renovation spent around $300k with professional grooming equipment Matured supply and delivery channels easy to manage • Chances to develop to be a franchise • Seller is willing to provide financing to qualified buyers In the heart of Scarborough; 401/Midland Very functional frozen food manufacturing space! • Fully equipped with walk-in cooler (200 sq ft) and freezer (300sqft) Two systems in the walk-in freezer Around 1800 sqft plus 800 sqft mezzanine The shop is Certified with OMAFRA • Seller can help buyer to get OMAFRA certification and financing. VTB or installments for 60 months are available. In a busy professional Medical building in the heart of Agincourt. • Good exposure on Sheppard Ave. Easy accessible and close to 401 and Dvp. • A lot of money spent on renovations! • Five treatment rooms and one office with sinks in each room! Gorgeous reception area with TV fireplace reception counter and product displays. • Business or client list not included. Super competitive lease! All inclusive gross rent of $2500/m. HST and utilities included! • Good for anyone to start their own business Get the advantage of the previous success and the extremely good lease! • Easy to convert to any spa, massage clinics, all types of therapist clinic.. Incl.: 5 Security cameras and big sign on the street, treatment beds included a lot of free parking spot.
Rare opportunity to own a profitable and easy to run Import/Export distributing business!
Selling display and packaging products to retail businesses. • Limited competition and lots of loyal customers. • Registered clients over 30k in their own website! • The business mainly run as online B2B platform combine with the traditional showroom sales
Only 2 staff, light labor cost!
Very relaxing hours, 6.5hrs x 5 days a week!
Easy to run and manage.
The business is still growing!
Seller is retiring after 17 years of successful operation!
Seller is willing to provide free training and stay up to 6 months to help!
Seller financing may consider to qualified buyers with 50% down
Why work for someone else? Become your own boss!
Or take it as passive income!
Well-established tufting studio with absentee owner!
Very popular and stress relief games amount the young people and couples!
Simple and profitable!
Only 2 part time staff can run the space! low labor cost.
A lot of repeat customers.
Only open 4 days a week and short hours!
The rent is low.
Owner goes to the store once a week! • Price for quick sale! Franchised Pizza food court outlet in Student Center of York University • Very stable and profitable business • Short hours and good sales • Work life balance Opportunity to add take out and uber eats to get more revenue • Lots of potentials to expand the business. • Act Now before it is gone!

14-15 Year-Old Business in AAA Location

• Backed by Favorable Lease Terms

• Well-Known Plaza With 8 Acres

• 5 Unit All Togather Plus Gas Station (Running By Owner)

• Ev Charging Selling With 8.5 %Cape Rate

• Only 2 Hours From Brampton.

For Advertising Information Please Call 1-877-337-1188 or visit www.BizSold.com | VOLUME 24 ISSUE 1 PAGE 4 • WITH MECHANIC SHOP, APARTMENT, AND CONVENIENCE STORE • PRIME LOCATION 2 HOURS FROM LONDON • IMPRESSIVE CAP RATE OF 11-12% ESSO GAS STATION FOR SALE ASKING: $2,900,000 • WITH OWNER’S QUARTERS AND SPACIOUS KITCHEN • STRATEGICALLY POSITIONED ALONG TRANS CANADA HIGHWAY JUST HOURS FROM SUDBURY, ONTARIO. • MODERN UPGRADES, IDEAL FOR SHORT/LONG-TERM STAYS • BOASTING A SOLID CAP RATE OF 8-9% UNAFFILIATED 34-ROOM MOTEL CONTACT FOR PRICE • WITH CONVENIENCE STORE, AND RAZOR CAR WASH • IMPRESSIVE CAP RATE OF 12-13% • STRATEGICALLY SITUATED ALONG A BUSTLING LAKE-ADJACENT ROAD, LESS THAN ONE-HOUR DRIVE FROM STRATFORD ULTRAMAR GAS STATION ASKING: $2,500,000 Kam Duggal Salesperson Off: 905-793-1111 Dir: 416-671-7873 duggal67@hotmail.com ROYAL STAR REALTY INC. Brokerage EXCLUSIVE PIONEER GAS STATION CALL NOW • 1Unlimited Future Growth and Expansion with & 0.8 Acres of land • Currently Running as Pioneer With Park Land Agreement • Good Cap Rate with more than 10% • Over 16 Million Liters a Year with Cstore + Propane Sales • Built in 2016 BURLINGTON CLEANING PLANT & DRY CLEANING DEPOT BUSINESS WITHOUT PROPERTY FOR SALE ASKING: $ 99,000 • Thriving Opportunity • Asking Price with Current Monthly Income Over $5,000 and Potential to Soar Higher. • Owner’s Retirement Sparks Sale of 14-15 Year-Old Business in AAA Location • Backed by Favorable Lease Terms PRISTINE LAKESIDE MOTEL ASKING: $3,700,000 • Just an Hour from Stratford, Ontario • With 27 Expansive Double Queen Rooms, Luxurious Comfort Awaits Your Guests • Spread Across 2 Acres, the Property Boasts a Pool,Laundry, and Abundant Parking • Unshackled from Franchise Ties, Secure Business Control • Offering a Lucrative 9-10% Cap Rate UNIQUE 3200 SQ. FT. PROPERTY ASKING: $2,999,999 • Retail store(2000 sq. ft.) + Apartment/Office (1200 sq. ft.) at Mississauga’s Dundas St. & Hurontario St. Intersection • Seamlessly Integrate Work and Living • Favorable Cap Rate & Redevelopment Potential LAKESIDE GEM IN PICTURESQUE NORTH BAY ASKING: $3,000,000 • 15 Rooms, Yielding 10%+ Cap Rate • Reconstruction Potential for 8 Additional Rooms • Expansive 3.5-Acre Grounds Boast 50 Campsites, Front-Facing, Store Potential, and a Seasonal Heated Pool. Playground, Showers, Washrooms, Coin Laundry Complete the Experience ESSO GAS STATIONS FOR SALE UNAFFILIATED 34-ROOM MOTEL UNIQUE 3200 SQ. FT. PROPERTY LAKESIDE GEM IN PICTURESQUE NORTH BAY BURLINGTON CLEANING PLANT & DRY CLEANING DEPOT BUSINESS WITHOUT PROPERTY FOR SALE PLAZA WITH TIM HORTON GAS STATION ULTRAMAR GAS STATION PLAZA WITH TD BANK ASKING: $2,900,000 CONTACT FOR PRICE ASKING: $2,999,999 ASKING: $3,000,000 ASKING: $99,999 CALL FOR DETAILS ASKING: $2,500,000 CALL FOR DETAILS • With Mechanic Shop, Apartment, And convenience Store • Prime Location 2 Hours From London • Impressive Cap Rate Of 11-12% • With Owner’s Quarters And Spacious Kitchen • Strategically Positioned Along Trans Canadahighway Just Hours From Sudbury, Ontario. • Modern Upgrades, Ideal For Short & Long-Term Stays • Boasting A Solid Cap Rate Of 8-9% • Retail store(2000 sq. ft.) + Apartment/Office (1200 sq. ft.) at Mississauga’s Dundas St. & Hurontario St. Intersection • Seamlessly Integrate Work and Living • Favorable Cap Rate & Redevelopment Potential • 15 Rooms, Yielding 10%+ Cap Rate • Reconstruction Potential for 8 Additional Rooms • Expansive 3.5-Acre Grounds Boast 50 Campsites, Front-Facing, Store Potential, and a Seasonal Heated Pool. • Playground, Showers, Washrooms, Coin Laundry Complete the Experience • Thriving Opportunity • Asking Price with Current Monthly Income Over $5,000 and Potential toSoar Higher. • Owner’s Retirement Sparks Sale of
• With Convenience Store, And Razor Car Wash • Impressive Cap Rate Of 12-13% • Strategically Situated Along A Bustlinglake-Adjacent Road, Less Than One-Hour Drive From Stratford • Income property with good terms and great tenants. • The 7,800 sq. ft building with full unused basement houses the TD Bank. • The property includes an 8,000 sq. ft terrace that could be filled in and converted to 20-25 parking spots that could generate additional income. • Lot size 17,000 sf LCBO & BEER STORE SALE OF BUSINESS & PROPERTY BRAMPTON CALEDON CLARINGTON OAKVILLE MILTON TORONTO SOLD INDIAN RESTAURANT BRAMPTON TWO LEVEL MULTI USE BUILDING MISSISSAUGA BANQUET HALL SOLD SOLD SOLD RETAIL STORE TEAM ARORA REALTY REAL ESTATE CENTRE BROKERAGE INDEPENDENTLY OWNED AND OPERATED WWW.TEAMARORA.COM PARVEEN@TEAMARORA.COM HOUSE WITH 3.99 ACRES OF LAND SALE OF LAND INDIAN RESTAURANT SALE OF BUSINESS GAS STATION, AUTO REPAIR & AUTO PARTS + CONVENIENCE STORE SALE OF BUSINESS RESTAURANT SALE OF BUSINESS FURNITURE BUSINESS SALE OF BUSINESS 1 *Not intend to solicit buyer currently under contract *Top 100 Canada Teams Residential Commissions Jan 2018 - Apr 2018 416.910.8923 COMMERCIAL SPACE FOR WE CAN HELP! CALL US TODAY! LEASE, BUY OR SELL 268 Derry Rd Unit 101, Mississauga, ON, L5W 0H6 Ofc: 905-488-1260 TEAM IN CANADA * BRAMPTON SUDBURY
MARCH 2024 - MAY 2024 | Say you saw it on BizSold! PAGE 5 Planning To Sell Your Laundromat? Call Me First! I Have A Long Waiting List of Buyers EAST GWILLIMBURY. 11 WASHERS, 16 DRYERS LAUNDROMAT. 4 BAY COIN CARWASH, 100% REBUILT. DOG WASH, NEW ROOF, NEW BOILER ETC. OVER $400K SPENT ON RENOVATIONS MISSISSAUGA. LONG TIME ESTABLISHED. LOCATED IN A PLAZ WITH LOTS OF PARKING. LOW GROSS RENT $2,972/M INCL WATER & HST. AVERAGE GROSS SALES $11K/M. GOOD PROFITS. SELLER RETIRING TORONTO. GREAT INVESTMENT OPPORTUNITY. ONE RETAIL 1,200 SF ON THE MAIN FLOOR AND 1,200 SF APARTMENT ON 2ND FLOOR. FRONTING ON DAVENPORT. FULLY LEASED. RENT BELOW MARKET VALUE TORONTO. GREAT LAUNDROMAT. OPEN 24/7. GROSS MONTHLY SALES ABOUT $14,500. 20 WASHERS, 16 DRYERS. CONTINENTAL, 15 YEARS OLD. NET YEARLY INCOME ABOUT $100K MILTON. VERY WELL ESTABLISHED ALL EQUIPMENT 7 YEARS OLD. LOCATED IN A PLAZA. LOW RENT. ALL MACHINES EQUIPPED WITH PAY BY PHONE SYSTEM. OPEN 24/7. VERY HIGH INCOME TORONTO. ESTABLISHED FOR ABOUT 20 YEARS. SAME OWNER RETIRING. AREA 1,000 SF, 21 WASHERS 14 DRYERS. RENT $3,000/MO + HST. WEEKLY SALES ABOUT $3,000. GOOD INCOME ASKING $2,500,000 ASKING $199,900 ASKING $249,900 ASKING $900,000 ASKING $300,000 24/7 LAUNDROMAT + COIN CAR WASH + 4 X 1 BDRM APT + PROPERTY UNATTENDED COIN LAUNDROMAT UNATTENDED COIN LAUNDROMAT FULLY ATTENDED COIN LAUNDROMAT DRY CLEAN PLANT ASKING: $229,900 ASKING: $389,900 TORONTO. 2,000 SQ FT. LONG TIME ESTABLISHED. GROSS WEEKLY SALES $9,000 - $12,000 OVER THE COUNTER ONLY. RENT $6,000/MO + HST. LEASE 5+5. HIGH INCOME UNATTENDED COIN LAUNDROMAT MISSISSAUGA. LONG TIME ESTABLISHED. LOCATED IN A PLAZA WITH LOTS OF PARKING. OPEN 24/7. 16 WASHERS, 17 DRYERS. GOOD INCOME ASKING $2,500,000 GEORGIAN BAY, 82 ACRES OF LAND. 1,600 FEET OF WATERFRONT. GRAVEL ROAD AND PARKING. MINUTES TO HWY 400 GEORGIAN BAY. 82 ACRES OF LAND. 1,600 FEET OF WATERFRONT. GRAVEL ROAD AND PARKING. MINUTES TO HWY 400. TORONTO. MAIN FLOOR LAUNDRY WITH 23 WASHERS AND 22 DRYERS. 2 BEDROOM APARTMENT OWNER OCCIPIED ON SECOND FLOOR. BUILDING IS BEAUTIFULLY MAINTAINED. 6 PARKING SPOTS. LOT SIZE 20 X 141 ASKING $2,500,000 ASKING $2,700,000 MUSKOKA LAND FULLY ATTENDED COIN LAUNDRY WITH PROPERTY ASKING: $219,900 TORONTO. AREA ABOUT 4,000SF. LOTS OF PARKING. 43 WASHERS, 61 DRYERS. GROSS SALES ABOUT $10K/WK. 4 EMPLYEES. LEASE 12 YEARS HIGH VOL. FULLY ATTENDED COIN LAUNDROMAT WITH WASH/FOLD MUSKOKA LAND ASKING: $720,000 ASKING: $849,900 ASKING: $1,200,000 SCARBOROUGH. FULLY ATTENDED COIN LAUNDROMAT WITH DRY CLEANING & ALTERATION. GREAT OPPORTUNITY TO OWN MONEY MAKING BUSINESS. EST. FOR MANY YEARS. 29 WASHERS, 26 DRYERS. MAJOR RENO DONE 3 YRS AGO. GROSS WEEKLY SALES $7,000. TORONTO. BEAUTIFUL 6 YEARS OLD UNATTENDED COIN LAUNDROMAT. 23 WASHERS, 24 DRYERS. AREA 1,850 SF. OPEN 24/7. GROSS WEEKLY SALES ABOUT $7,000. NET INCOME OVER $200K UNATTENDED COIN LAUNDROMAT ASKING: $599,900 TORONTO. OPEN 24/7. LOCATED IN A PLAZA. 28 WASHERS, 22 POCKET DRYERS. EST. FOR OVER 20 YEARS. MAJOR RENOVATIONS DONE IN 2020. LEASE 5+5. GOOD NET INCOME. UNATTENDED COIN LAUNDROMAT FULLY ATTENDED COIN LAUNDROMAT INVESTMENT: 2 STORY BLDG OFFICE/APARTMENT/RETAIL UNATTENDED COIN LAUNDROMAT SOLD SOLD SOLD RE/MAX JAZZ INC. BROKERAGE Off: 905-728-1600 Dir: 905-449-2494 realestatesales@rogers.com RE/MAX COMMERCIAL CANADA TOP 100 AGENT Gerry Keenan Broker www.GerryKeenan.com • 2 Storey Brick Comm./Industrial Bldg • Approximately 5,200 sqft per level • Excellent Location on Busy Street with Close Access to 401 • Zoning allows for Retail or Wholesale Outlet with Permitted Use • 11’ clear ceiling height on main floor with loading door • Package could include existing chocolate factory business • 2 Income Streams on 1 Property • 18 Storage Units and can build 18 more • Carwash still operating on cash only!! • Development potential on 0.72 acres • Medical and Professional Office Zoning WHITBY COMMERCIAL/INDUSTRIAL BUILDING UXBRIDGE CARWASH AND MINI STORAGE WHITBY UXBRIDGE FOR SALE: $2,990,900 FOR SALE: $1,599,900 www.realtormitul.ca HOMELIFE MIRACLE REALTY LTD.,BROKERAGE For Service Beyond The Sale, Call Me!
Great Opportunity To Be Your Own Boss And Make Good Money And Won’t Last Long.
Excellent Growing Burrito Franchise In A Great Location in Hamilton Area, Fantastic Opportunity For Family And New Immigrants
Family Oriented Business, Very Easy To Run, Long Lease, Limited Hours, Ample Parking, Full Franchiser Support & Training. $399,000 EXCLUSIVE BURRITO BUSINESS - HAMILTON AREA

TORONTO - Newly Established Store Surrounded By Condos. Low Rent. Sales $3,000/Week & Expected To Reach $10K/Week.

Kitchen Making Fresh Biryani & Momos. Excellent Fast Growing Sales With Lotto Machine. Rent Includes 2 Bedroom Apartment - Ideal For Live/Work Scenario.

For Advertising Information Please Call 1-877-337-1188 or visit www.BizSold.com | VOLUME 24 ISSUE 1 PAGE 6 CONVENIENCE/DOLLAR STORES RESTAURANTS & GROCERY MISCELLANEOUS For More Listings Visit: www.LATIFMERALI.com HOMELIFE/BAYVIEW REALTY INC., BROKERAGE 416.324.2822/1.800.561.8500 #1 COMMERCIAL AGENT 2020-23 Based on HomeLife Statistics LATIF MERALI www.LatifMerali.com B. Comm, Sales Representative ABR, SRS Independently Owned & Operated ASKING: $229,000 ASKING: $4,000,000 ASKING: $398,000 $89,000 + STOCK $49,000 $39,000 $149,000 $98,000 BOWMANVILLE - Busy Bar & Grill With Champions Off Track Betting. Sales $60K/Month & Growing + Betting Commission Of $2K/Month. Low Rent. 60 Seats LLBO + 30 Seat Patio. KITCHENER - Fully-Equipped Supermarket With 43,000 SF, 20 Staff, 12 Walk-In Coolers, Current Sales $12M/Year (Business Name Not Included). 12 Year Lease. Could Convert To Organic Market, Halal, Ethnic, Etc. ANCASTER - Busy Franchise Location With Full Kitchen Plus Patio. LLBO Seating For 180 Guests. Sales $1.2m/Year. Long Lease, Low Royalty. Great Corner Location. RICHMOND HILL - 12 Years Est Convenience Located In Prime Plaza Next To Restaurants, Supermarket, Schools. Sales $10K-$12K/Week. Lotto Commission $34K/Yr. Owner Nets Over $100K TORONTO - Newly Established Shop With Uber/Skip/Doordash
DOWNTOWN TORONTO - Busy Gateway News Located In Prime Underground Path At Bay/Adelaide Centre. Easy 5 Days/Week Operation With Short Office Hours & High Lotto Commission. Owner Operator Nets $5K/Month
Lotto Just Started. Over $200K Spent On Set Up & Equipment TORONTO - Busy Store Inside East York Town Centre Mall. Sales $50,000/Month. Lotto Commission $4K/Month. Lotto Machine Pays
Over 25 Years Established. BAR & GRILL SUPERMARKET BUSINESS GUAC MEXI GRILL FULLY-EQUIPPED RESTAURAN FISH & CHIPS COMMISSARY KITCHEN SYMPOSIUM CAFE MOTEL FOR SALE SOLD SOLD ALLISTON - Established Mexican Franchise With LLBO & 30 Seats. Full Kitchen. Current Sales $18,000/Month. Low Rent. Low Royalty. TORONTO BEACHES - Full Grill Kitchen With Hood, Fryers, Coolers, Prep Tables, Etc. 30 Seats, 2 Washrooms, Storage. Could Be Converted To Any Type Of Cuisine: Middle Eastern, Indian, Thai. Lease 7 Years. MARKHAM - Busy Fish And Chips Restaurants With Full Kitchen On Busy Highway 7. Sales $40K/ Month. Low Rent. Could Be Converted To Any Menu. ETOBICOKE - Fully-Equipped Kitchen With 8 Cooking Stations - Ideal For Meal Plan Subscriptions, Commissary Kitchen, Catering, Culinary School, Ghost Kitchen, Uber/Skip/ Doordash Kitchen. Excellent Lease Terms. $135,000 $119,000 $249,000 $299,000 LONG SAULT - 14 Room Motel Located In Beautiful Long Sault Facing St. Lawrence River. Includes 2 Bedroom Owner Apartment + 2 Cottages. Room Revenue Over $260K/Year. Great Wolf Lodge Coming Soon To The Area. 1.35 Acres Land. ASKING: $1,450,000 ASKING: $178,000 $118,000 ASKING: $55,000 ASKING: $88,000 ASKING: $499,000 SCARBOROUGH - Established Fully-Equipped Factory Manufacturing Closet Organizers, Bathroom Vanities, & Kitchens. Sales $360,000/Yr & Growing. Owner Operator Nets $84,000/Yr. Operator Net MARKHAM - Established & Busy Dry Clean & Alteration Business Surrounded By High Income Area. Sales Increasing After Covid & People Returning To Work. Prime Location. Sales $6K/Month. TORONTO - Busy Shop Selling Cell Phones, Accessories, Computers, Electronics. Huge Profits From Phone Plans & Repairs. Sales $10K-15K/ Month. Low Rent. WEST GTA - Located West Of Toronto. Includes All Machinery & 3 Trucks. Sales Pre-covid $1.3M. Current Year Projection $1.3M. Owner Operator Nets $150K. Contracts In Place KITCHEN CABINET FACTORY DRY CLEAN PLANT DRY CLEAN DEPOT CELL PHONE SHOP PEANUT ROASTING & CANDY DISTRIBUTION SOLD WHITBY - Over 15 years established depot and alterations. Very high margins. Nets $40k/Year. Low rent. LEASE: $2,195/MO ASKING: $58,000 ASKING: $299,000 ASKING: $1,100,000 ASKING: $399,000 $2,550,000 OR Lease $21/SF Net ASKING: $140,000 ASKING: $10,000,000 BUSINESS ONLY $1.8M BUS & BLDG $7.0M ASKING: $1,699,000 $2,850/Month Gross Lease $70,000 $85,000 $549,000 $719,000 ASKING: $398,000 KAWARTHA LAKES - Over 1100 SF Retail Space Next To Public Boat Launch At Balsam Lake. Ideal For Fishing/Tackle Store, Medical/Dental, Law Office, Cafe/Restaurant/Bar, Etc. Includes 3 Bedroom Fully Furnished Apartment On Second Floor. MARKHAM - Established Vape Store In Markham. Nets Approx $50K/Year. RICHMOND HILL - Busy brewery and wine factory. Over $500k spent in recent improvements. Licensed to sell and serve alcohol. Sales $20k/month and growing. Lots of potential to expand and supply Beer Store and restaurants. VAUGHAN - Established and busy furniture warehouse supplying online to Canada and USA. Sales $2M. Owner operator Nets $580k/Year. MARKHAM - 12 years old established & busy sign/print business making all types of signs: Banners, lawn signs, real estate, plastic lawn bag signs, election signs, etc. Excellent high volume business with high profit margins. All equipment and machinery owned & up to date. AURORA - 4,394 SF Of Brand New Industrial Space Located Next To Hwy 404. 1 Truck Level Dock With Leveler. Electrical All Upgraded. Many Permitted Uses. SCARBOROUGH - Established Dry Clean Plant At Prime Intersection Next To GO Station And High Density Residential. Same Owner For 15 Yrs. Sales $10K/Month. Low Rent. Great For Family Operation. YORK REGION - Established Trucking Business With 26 Trucks Doing Delivery & Logistics Within The GTA. Sales $9.5M/Yr, Nets $2M/Year ETOBICOKE - Over 31 Years Established Auto Body/ Collision Shop. Approved By Insurance Companies. Sales $2M/Yr. Nets $680K/Yr. Business Only $1.8M; Bus & Bldg $7M MARKHAM - Stunning Heritage Building Located In Old Markham Village. Ground Floor Retail To Be Leased Back By Owner 5 + 5 Years Lease. 1-2 Bedroom Apartment & 1-1 Bedroom Apartment - Fully-Leased Building. MARKHAM - 1,050 SF Of Prime Office Space Facing Markham Rd. Many Permitted Uses: Law Office, Accountant, School, Medical, Real Estate. THORNHILL - Busy Vape Shop Located At Prime Intersection. Nets $60K/Year. RICHMOND HILL - Established Clinic For Sale Specializing In Orthotics, Shoes, Braces, Medical Devices, Bands, Medical Supply, Etc. Mostly Insurance Billing. Owner Nets $8K/ Month. Short Hours VAUGHAN - High-End Kitchen Cabinet Factory Newly Established With Strong Sales $1.7M In First Year, Nets $320K. Brand New Equipment And Machinery Still Under Warranty CNC Machine, Edge Bender, Dust Collector, Compressor, Fork Lift, Cutters. Over $800K In Equipment & Machinery Worth The Price. All Staff Willing To Stay. AURORA - Busy Factory Manufacturing Custom Orthotics For Doctors. Excellent High Profit Margins. Sales $473K. Nets $270K. TORONTO - Established Since 1982 Busy Plant Recently Renovated. Sales $8K/Week Plus Alterations Of $2-$3K/Week. Owner Operator Nets $320K/Year. Short Hours. STORE WITH APARTMENT VAPE SHOP BEER & WINE FACTORY FURNITURE DISTRIBUTION ESTABLISHED SIGN PRINT BUSINESS INDUSTRIAL BUILDING DRY CLEAN PLANT TRANSPORT BUSINESS AUTO BODY SHOP SALE/LEASEBACK OFFICE SPACE VAPE SHOP ORTHOTICS BUSINESS MILLWORK FACTORY ORTHOTICS FACTORY DRY CLEAN PLANT
Rent.

• MODERN OFFICE BUILDING MARKHAM, WARDEN / N.STEELES, 150,000 SQFT. 3.65 ACRES LAND, 465 U / G PARKING, $45M $32M

• OFFICE BUILDING, H.W.7 & LESLIE, 48,000 SQFT., $13.5M, 2.2 ACRES LAND, UPTO 70% VTB.

• GAS STATION, COIN CAR WASH, CONVENIENCE STORE, MECHANIC SHOP, LEASED RESTAURANT

• PLAZA WITH AAA TENANTS, 6% CAP

• HOTELS FULLY RENOVATED LUXURY BRAND, HAMILTON, WINDSOR & NIAGARA FALLS

• 5 NEW LEASED APARTMENT BUILDING

• SITES APPROVED TO BUILD HIGH RISES AND TOWNHOMES

• WAREHOUSES WANTED LEASED OR VACANT + INDUSTRIAL LANDS

• VACANT CORNER LOT IN BARRIE. GOOD FOR OPEN STORAGE, USED CAR SALES, PARTIAL COMMERCIAL

• ON BAYVIEW AVENUE NORTH OF SHEPPARD, A LIVEABLE HOUSE, LARGE LOT, LIVE, LEASE, OR BUILD FOURPLEX AND POTENTIAL ASSEMBLY WITH NEIGHBOURS FOR TOWN HOMES

• MEDICAL BUILDINGS IN TORONTO

• MID RISE SITE WITH INCOME, TORONTO, WALK TO EGLINTON SUBWAY, $13.5 M.

• DOWNTOWN TORONTO HIGH-RISE SITE WITH PRESENT INCOME

• HOTEL, NORTH OF BARRIE, $16M., INCLUDING ACTIVE GOLF COURSE WITH SOLID MEMBERS, TOTALLY REMODELED, ON 126 ACRES LAND

• PLAZA, ST. CATHARINES, $32M, 10 ACRE LAND, WITH HIGH RISE APPLICATION

• PLAZA, LONDON, $25M, 10 ACRE LAND

• TORONTO, APPROVED 3 SITES FOR HIGH RISES WITH ACCESS TO SUBWAY AND GO TRANSIT

MARCH 2024 - MAY 2024 | Say you saw it on BizSold! PAGE 7 INVESTMENT OPPORTUNITIES GRAHAM HEALER graham-healer@coldwellbanker.ca 1-888-472-2767 Toll Free: 289-634-1525 Office: BROKER RMR Real Estate Brokerage Each Office Independently Owned and Operated PRICE: $250,000
LLBO Licenced 120 seat restaurant is turn key and fully equipped and in excellent condition.
Well established location, just add your Name and your Staff and the Restaurant will produce revenue right away.
Offered at the low price of just $250,000.00 for a quick sale
Owner Retiring.
Exclusively Listed with Coldwell Banker Commercial, RMR Real Estate Brokerage. WHITBY, ONTARIO • Nationally Anchored Retail Plaza in a busy Retail Shopping Node. • Located on a major Traffic/Retail Corridor in Central Sudbury linking the south end to New Sudbury in the North End. • Co-Tenants are Value Village, Sleep Country, The Brick, Leons, Staples, and Dollarama. • Just off Eastern Canada’s Main Arterial Hwy 401 • Approximately equidistant between Detroit and Montreal • 1,200 Lineal Feet of CN Railway Frontage this could be a great location for Rail Siding for Distribution or Mfg business • 2 Fresh Water Wells on Site and plenty of Power • Fully tenanted at time of listing. • National Brand Tenants include Burger King, Pet Valu and Dollarama in this 20,576 sq .ft. Retail Plaza on 1.733 Acres. • Located on a main arterial roadway, Arthur Street, at the signalized intersection of Edward Street. SUDBURY, ONTARIO PORT HOPE, ONTARIO NEEBING THUNDER BAY, ONTARIO COMMERCIAL/ RETAIL SPACE FOR LEASE INDUSTRIAL LAND FOR SALE RETAIL PLAZA FOR SALE TURNKEY RESTARUANT FOR SALE EXCLUSIVE LISTING! $18.00 PER SF $2,274,000 $3,999,000 OFFICE: 416.546.0077 WE HAVE BUYERS LOOKING FOR PLAZA, APARTMENT BUILDING, RETIREMENT HOME ATTENTION PROFESSIONAL AGENTS, SALES REPS/BROKERS: WE ARE HIRING NOW! PLEASE CONTACT THE BROKER OF RECORD 416.402.5555
Nader Akhbari Broker of Record TorontoHomesandBuildings.com
naderakhbari@gmail.com
30 years of Experience commercialpropertiesintoronto.com
Direct:

• 20+year old brand in downtown Keswick

• Favorite restaurants for dine-in and takeout for locals and tourists

• LLBO, party room, dining room, bar and takeout counter

• Turnkey operations, owner can provide training

• Turn key solution, owner can provide training •

• 20+ year well known brand

• Conveniently located near Lesley & Hwy 7

• Over 1500 sf of spa and retail space for loyal clients, referrals and walk in customers

For Advertising Information Please Call 1-877-337-1188 or visit www.BizSold.com | VOLUME 24 ISSUE 1 PAGE 8 RE/MAX CAPITAL DIAMOND REALTY BROKERAGE SAHIL KHAN BROKER 226.350.6786 sahil616161@gmail.com www.remax519.com Investor looking for Retirement/Nursing home in Ontario 200 ACRES INDUSTRIAL LAND FOR SALE 75 ACRES INDUSTRIAL FOR SALE ANCHOR PLAZA FOR SALE ASKING $45M ASKING $30M CALL FOR DETAILS CALL FOR DETAILS CALL FOR DETAILS CALL FOR DETAILS CALL FOR DETAILS CALL FOR DETAILS ASKING: $100M ASKING: $19.5M ASKING: $8.5M ASKING: $13.5M ASKING: $10M ASKING: $15M HALTON HILLS HALTON HILLS • Cap rate 5.5 • Location Windsor • 2 hours from Toronto • Metro Grocery Anchor • 5.5 % Cap PLAZA FOR SALE 100 ACRES FUTURE INDUSTRIAL LAND 110 UNITS APARTMENT BUILDINGS FOR SALE DEVELOPMENT LAND 9 ACRES INDUSTRIAL LAND FOR SALE STAND-ALONE SHOPPERS FOR SALE LAND FOR SALE SOLD CALEDON HALTON HILLS NEAR OTTAWA MISSISSAUGA, ON MISSISSAUGA, ON 50 ACRES FOR MID-RISE, NEAR YORKDALE MALL HIGH RISE ZONED LAND FOR SALE • 50 acres • A draft plan is under process • Location: Windsor, On • In Barrie • With High Rise Potential • 6.00% CAP • Windsor - Essex • 3 Acres of land in Brampton RESIDENTIAL DEVELOPMENT LAND FOR SALE SHOPPER’S PLAZA WITH OTHER GOOD TENANTS. PLAZA FOR SALE HOMELIFE BROADWAY REALTY INC. BROKERAGE Alicewcheung@gmail.com | DIR: 416-708-6788 1455 16TH AVE., SUITE 201, RICHMOND HILL, ON L4B 4W5 OFFICE: 905-881-3661 DOWNTOWN RESTAURANT FOR SALE RESTAURANT FOR SALE IN KESWICK SPA & BEAUTY SHOP FOR SALE IN RICHMOND HILL RESTAURANT & PUB HOUSE IN SCARBOROUGH FAMILY RESTAURANT IN OLD MARKHAM ASKING: $1.2MM ASKING: $128,000 ASKING: $128,000 ASKING: $1.08MM ASKING: $128,000
Well known brand for over 20 years fronting on Danforth near DVP
Favorite place for parties, special occasion for loyal clients, walk-in and tourists
Including all chattels, kitchen equipments and furnitures for 200 customers
Well established Pub House and Night Club for locals and after work hangout
Large patio, live band, BBQ and sport bar
Just South of 401 near Scarborough Town Center
Turnkey operations, owner can provide training Well known brand for 20+ years serving dine in and takeout Loyal customers, walk-in, tourists 72 seats, party room, open kitchen Including all chattels Owner can provide training ALICE P. CHEUNG M.B.A BROKER
MARCH 2024 - MAY 2024 | Say you saw it on BizSold! PAGE 9 SHAMSHER (SAM) KAHLON BBA, Broker Dir: (647) 205-7437 samkahlon13@gmail.com Esso With Country Style $1.7 M $1.95 M With Drive Thru Coffee and only 30 mins from GTA $2.5 M WITH CAR-WASH IN WATERLOO Business Only $699,000 With NOI of 250K 1.5 hours from GTA $1.2 M Business Only GTA $4.1 M With Car Wash, GTA $685,000 BUSINESS ONLY GTA $3.3 M With Rental Income of 60K, 1.5 Hr from GTA Business Only GTA 30YR Lease Available $13 M Gas Volume 20 Million, Store Sale 2 Million CALL FOR DETAILS CALL FOR DETAILS CALL FOR DETAILS Business only, GTA, $700k store sales, 4.5M gas volume Right At Home Realty Inc 480 Eglinton Ave. West Unit 30 Mississauga, ON L5R 0G2 P: 905-565-9200 F: 905-565-6677 LOOKING TO BUY OR SELL A GAS STATION? SHAMSHER KAHLON CFA, BBA, REAL ESTATE BROKER samkahlon13@gmail.com 647-205-7437
For Advertising Information Please Call 1-877-337-1188 or visit www.BizSold.com | VOLUME 24 ISSUE 1 PAGE 10 SPECIALIZING IN DEVELOPMENT LAND TO BUILD SEVERAL RESIDENTIAL HOMES ON ONE LOT OR LOTS FOR COMMERCIAL USE CHRIS DOSNE MILLENNIUM INC. chris.dosne@century21.ca Sales Representative C: 416 578 2343 O: 905 450 8300 BUILDING LOT WASAGA BEACH TRUCK STORAGE LAND OAKVILLE COMMERCIAL DEVELOPMENT LAND OAKVILLE BRANDED GAS STATION $415,000 $13,000,000 $3,100,000 RESIDENTIAL DEVELOPMENT LAND OAKVILLE $16,000,000 • 10 Acres • Build 200 Townhomes • VTB Mortgage Available • 3 Acres • To Park Trucks, Trailors, Tractors, etc. • Existing Bunglow • 50 Acres In Oakville • Build Greenhouses, Medical Centers, Offices, Warehouses, Hotels and more • 40 Mins From Toronto • To Become an Esso Station • 1.2 Acres • 6 Million Litres • 4.65 Cents Profit With BRAC Pricing $70,000,000 $23,888,000 DEVELOPMENT LAND OAKVILLE • 3 Acres • Build Townhomes • City Water & Sewer • Existing 2 Storey Available $15,000,000 RESIDENTIAL DEVELOPMENT LAND - OAKVILLE • 15.8 Acres • Vacant Conrner Lot • Build 1700 Units in Condo Apt. Buildings & Townhomes • VTB Mortgage Available SOLD

17 Acres Apartments

17 Acres

Within

| Say you saw it on BizSold! OFF:905-450-8300 “Simply Text me and I will respond with a link to the listing” Ryan Anderson Sales Representative CENTURY 21 Millennium Inc., Brokerage* ryan.anderson@century21.ca Automotive Businesses Available DIR: 416-910-7698 www.century21.ca/ryan.anderson 181 Queen Street East, Brampton, ON L6W 2B3 $899,000 Etobicoke - $799,000 • 400ft Frontage On Highway, Over 2 Acres • Owner Operates Repair And Car Sales Location • Flexible Zoning, Can Add Paint And Autobody, And Residential Dwelling(S) • Serviced With Natural Gas • Few Competing Shops, And Plenty Upside. • Could Be Ideal For Urbanites Looking For A Change. • Just 2.5 Hrs From Toronto. • Massive Autoparts Business • Both Wholesale & Retail • Profitable & Established Clients • Approx $300,000 In Running Good Inventory Automotive Property For Sale Essential & Recession Proof Call For Details Call For Details $999,900 Available Automotive Dealership Leases in GTA Turnkey Restaurant Opportunity Catering Business For Sale 2,000 SF - 10,000 SF • Turnkey Restaurant opportunity everything included • Airport road beside international centre • 2 Kitchens, 2 separate entrances Can be run independently • 60 seat capacity in dining room broker/executive vice president BUS: 905.883.8300 CELL: 416.817.3588 * Grand Centurion Producer (Since 2004) * Top #3 Agent Across Canada (2010) * Top #1 Chinese Agent Across Canada (2004 to 2008) * Master Hall of FAME (Since 2004) SYLVIA WONG • Leslie/Hwy 7 • Shoppes at the Parkway • Gross 110 Sq Ft. Retail Unit • Suitable for Retail or Professional Offices • High Traffic Indoor Mall Connects to Sheraton Parkway Hotel & Town of Richmond Hill • Kennedy/Steeles • Pacific Indoor Mall • Very High Traffic Indoor Mall With Lots of Parking • Well Known “Hair Salon” With Good & Steady Clientelle • Owner Retired, Don’t Miss This Good Opportunity
Bayview/Hwy 7 • Currently Used as Physiotherapy Clinic • Can be Converted to Medical/Dental or Other Professional Offices • Lots of Parking • 1,200 Sq Ft Asking $58,000 Asking $80,000 MEDICAL OR PROFESSIONAL BUILDING / OFFICE UNIT FOR SALE OR LEASE RICHMOND HILL INDOOR RETAIL UNIT FOR SALE PACIFIC MALL “HAIR SALON” FOR SALE Ask $549,999 | $2,800/Month (Net Lease) “TIMES SQ” OFFICE FOR SALE RICHMOND HILL OFFICE FOR LEASE JAPANESE MATCHA CAFE RESTAURANT FOR SALE Asking $199,999 Asking $100,000 Lease $25/SQ FT NET Asking $1,250,000
Times SQ in Richmond Hill
Leslie/Hwy • Office for Sale • Bayview/Hwy 7 • 2,944 SQ FT • High Demand Professional Office Building • 6 Individual Rooms, Large Boardroom, Kitchenette • Suitable for Law Firm, Accounting Firm & Professional Office • Japanese Franchise Cafe Restaurant • Located in Waterloo, Next to University of Waterloo • Super Prime Location, Steady Clientelle • Good Money Making Business • 581 SQ Ft with Sink
Can Be Professional Beauty Business • 280 SQ Ft • Suitable For Professional Office MikeK.Nanavati Brokerof Record Wind StarRealty Limited, Brokerage 416-225-2226 mnanavati@sympatico.ca
Future Residential Toronto West Close to allamenities Value add Great Location SOLD! Multi-Tenants, Anchors Coming Soon! Established Hi-rise condo site Expansion potential Toronto 6.5 % CR MikeK.Nanavati Brokerof Record Wind StarRealty Limited, Brokerage 416-225-2226 mnanavati@sympatico.ca Lake Simcoe South $6.6 M
Apartments Proposed 312 Units - Toronto West Low rise, Singles, Semis, THs Value add Great Location SOLD! Multi-Tenants, Anchors Coming Soon! Established Hi-rise condo site Expansion potential Toronto 6.5 % CR Mike K. Nanavati Broker of Record Wind Star Realty Limited, Brokerage 416-225-2226 mnanavati@sympatico.ca Development Land 6 % CR Lake Simcoe South $6.6 M 17 Acres Apartments Future Residential Toronto West Close to allamenities Value add Great Location SOLD! Multi-Tenants, Anchors Coming Soon! Established Hi-rise condo site Expansion potential Toronto 6.5 % CR MikeNanavati_quarter.indd 1 2020-11-16 11:51 AM Mike K. Nanavati Broker of Record Wind Star Realty Limited, Brokerage 416-225-2226 mnanavati@sympatico.ca Whitby 32 Acres (Hwy 401 & Hwy 412) Future Employment Lands Great Location Midland Tenants are Bank & RE co Built 2013 6.3% Cap Rate Prime Location Eglinton @ Midland Hi-rise Condo Site 11 storey, 118 units, Comm Shovel ready Great Location Eglinton - LRT - Metrolinx Plasting Manufacturing Co Profitable Business + Building For Lease (32,000 sf)
Location Perfect for Supermarket!
Established
52 Acres
Secondary Plan
Simcoe beaches, parks
future Hwy 404 extension
on Busy Hwy 48
Lake
Abuts
Located

• Long established and successful food business licensed for 70 people + outdoor patio! Huge paved area area.

• Excellent high traffic and high growth location just North of Newcastle.

• Owner retiring and willing to hold a mortgage subject to terms & conditions.

• Perfect opportunity for new family-run operation.

FOR DETAILS

Incentives & custom fit-out negotiable.

• Designs completing for Phase II 65000 SQFT self-storage facility also for

• Est delivery date Q4 2024: over 30 ft ceiling height w/ shipping door planned.

• Great location between HWY 11/35, HWY 401 & HWY #2.

• Labeled Employment Lands under Durham OP Update.

• Vendor Take Back Mortgage available!

• Opportunity for large land bank, development, and end-users

• Fast growing community: population may double by 2031!

For Advertising Information Please Call 1-877-337-1188 or visit www.BizSold.com | VOLUME 24 ISSUE 1 PAGE 12 39 Temperance St. Bowmanville, ON L1C 3A5 Fax: 905-623-9574 TURN-KEY AWARD WINNING RESTAURANT & BRAND W/ BLDING AAA NEWCASTLE COMMERCIAL SPACE CHOICE RETAIL OR AUTOMOTIVE BUILDING CLARINGTON HOME & BUSINESS BUILDING LOT IN PICKERING CALL FOR DETAILS CALL FOR DETAILS FOR SALE $1,600,000 NEW LOW PRICE $999,999 • Great opportunity to start in restaurant business. Well established and profitable restaurant in downtown Oshawa walking distance from multiple high density sites. Great location with bright future • Strong brand with many awards: excellent food and recipies • Building in good shape with recent upgrades + adjoining 22 storey high density proposal. • Busy anchored Plaza hosting national tenants with abundant surface parking and signage. • Great opportunity for office, retail, or commercial users to find large or small clean & professional space for their business • Units on ground level and second level available. Up to 10000 SQFT for lease! • Perfect size! 6000 SQFT on a fully paved 1 Acre lot! • Free standing modern building, clear span, 14ft grade-level door all in excellent condition! • A+ high traffic & high growth location in Clarington. • Ideal for end-user or investment / rental. Exclusive listing • Nearly ½ an acre on busy Brock Road ideal for home or business • Great location neighbouring major plaza + high density development • Zoning supports detached house, animal hospital, and more. • Owner open to possible VTB for qualified Buyer JOHN SHEWCHUK salesperson BRIAN SHEWCHUK salesperson Off: 905.623.3393 jshewchuk@royallepage.ca brianshewchuk@royallepage.ca COMMERCIAL PROPERTIES AVAILABLE FOR SALE & LEASE OSHAWA PICKERING NEW CLARINGTON INDUSTRIAL SPACE FOR SALE 16K SQFT REMAINING CALL FOR PRICING & INCENTIVES
remaining for sale.
Approx 16k SQFT
sale
BOWMANVILLE 28 ACRES FUTURE DEVELOPMENT LAND NEWCASTLE CALL FOR
DETAILS
NEWCASTLE 1 ACRE COMMERCIAL
2500 SQFT RESTAURANT IN HIGH GROWTH LOCATION!
&
CALL
CLARINGTON NEWCASTLE

Cell: 416•722•4989 Bus: 905•695•7888 cskimcs@hotmail.com www.canadahome4989.com

$3,700,000

$2.5mil plus Gas 4mil Ltr

• Pioneer Gas Station

• Ample

Prestige Highway Commercial/Light Industrial Land

$3,750,000

• 85.74 acres

• Next to the interchange of Trans Canada Hwy 17 under construction

• High Profit and No Competition

Investment Plaza 1hr E from Toronto $2,890,000

• 5 Commercial units

• Fully leased • Net Income over 111k

Excellent Variety with LCBO 2.5hr N $2,450,000

• High Sales Volume $2.4mil/yr

Excellent Plaza in Chatham-Kent Area $1,200,000

• Sales Vape 310k 50% margin

• Rental Income C-store+Hair Salon+1 Rentable Unit

• Lot size: Plaza 132 ft x 165.47 ft

Excellent Convenience in Niagara Area $1,000,000

• Net Sales 570,000/yr

• Lotto 50,850/yr

• 4 Beds Apt incl

Money Making Variety Store in Niagara Area $899,000

• Weekly Sales 15,000

• Cigarette portion under 50%

• Lotto 2000

• Ample Parking

Commercial Bldg in Brantford $1,000,000

• 2nd floor 3 Beds Apt Rented For 1600/Mo

• 1st floor Florist Shop for sale $150,000 separate

Busy restaurant in Central Niagara $1,999,000

• Fully-Equipped Kitchen

• High sales and impressive income,

• LLBO licensed for 114 patrons

• 4-bedroom apartment upstairs

Busy Variety in West Grey Area $199,000

• High Sales Volume

• Lotto Comm 28k/yr

• Very Low Rent 1405+hst

• Lease 4.5+5yr

Excellent Commercial Bldg in Trent Hills $800,000

• Great Location

• Perfect for end-user

• Commercial unit 1st Floor

• 3 Beds Apt on 2nd Floor

• Ample Parking

Commercial Bldg with Apt in Sarnia $560,000

• Convenience closed due to tenant’s retirement

• 2 Beds Apt

• High Traffic Area

Money Making Variety in London $199,000

• Sales 10,000/week

• Avg Margin 35%

• Lotto 1667/mo

• Rent 3500+hst

Excellent Toronto Neighborhood Variety Store $150,000

• Cigarette portion 40-50% only

• Lotto Commission 3500/mo

• ATM 500/mo

• Net Income 10,000/mo Well Est. Dollar Store in Mississauga Mall $130,000

• Prime Location

• Excellent condition, no renovations needed

• Spacious aisles for handicapped customers

• Ample parking, including underground

• Mall attractions: Passport Office, Food Basics, McDonald’s, Rexall Drug Store, Cinema, Medical & Dental Clinics, and more

MARCH 2024 - MAY 2024 | Say you saw it on BizSold! PAGE 13 GAS STATION Peterborough Toronto PIONEER GAS STATION SHELL GAS STATION FRANK REAL ESTATE INC., BROKERAGE BUYING, SELLING OR LEASING CALL TORONTO Pioneer High Volume,Extremely BUSY Car wash,Net over 500K. Asking $5.9M *** 1.5 hr WEST from BRAMPTON, PIONEER GAS STN w/House included. Volume over 9 Million Liters and over $1.2M C-Store sales+LCBO. All new 2015.Very, Very, busy station and intersection. Asking $5,600,000 1.5 Hrs E from GTA Shell Gas with Tim Horton’s, Auto Car wash, Pizza - Great Location. Open Now! 1.5Hr East Ultramar Gas Station W/ Subway, Coffee, 3-Bay Coin & Automatic Car-Wash. High Volume And Great C-Store Sales. 6/49, Vacuums, Atm.“One Stop Shop” Asking $4,590,000Asking $5,690,000 ULTRAMAR GAS STATION ESSO GAS STATION ULTRAMAR WITH TIM HORTON’S ESSO GAS STATION MARIAN HYJEK 2.5 hrs North of DURHAM or 2hrs West from OTTAWA - ULTRAMAR GAS STN, Gas. Dsl, Propane, C-store, 6/49, All New in 2014 Pumps, Tanks, Lines, C-Store. Garage Rental Income and 3-bdrm apartment. 1 HR West of GTA ESSO GAS STN W/ 900sf Rental, 1/2 Ac Land, High Density. C-Store sales over $2.2 Mln. 12-13% Cap. DWFG Tanks and Lines 2010 Sales Representative 1 HR N/E from GTA Newly Built Esso Gas Station with Great Contract, Predicted 4-5M Ltrs, Propane, Coloured DSL. 2800+ SF free space. Very busy intersection. INDUSTRIAL, COMMERCIAL & INVESTMENT & RESIDENCIAL TOLL FREE: 1 866 525 4111 OFFICE: 905 576 4111 FAX: 905 435 5383 Asking $1,690,000 Asking: $1,890,000 GREAT ULTRAMAR LOCATION Available for Sale 1.5 hr east from Toronto. Asking Prices From $1.9M ESSO Gas Station with 3 Bdrm Apartment, DWF Tanks & Lines. VERY Busy HWY. Good Volume and High C-Store Sales. Very High Volume Site, C-store $1.8M/year, Propane, Auto + Coin Car Wash, Tim Horton’s as Tenant E-mail: mhyjek@trebnet.com Website: www.mhyjek.com Asking $1.2M Asking $2,190,000 Asking $5,290,000 19 Years Gas Station Experience LAND IN GTA Ready to build Gas Station. 1.5 Hr N/E Of Toronto 1 Hr East Of Toronto Asking $3,900,000 ESSO GAS STATION DANIEL C. KIM BROKER
Busy Gas Station and LCBO close to Ottawa
Very
Sales Volume
Parking
For Advertising Information Please Call 1-877-337-1188 or visit www.BizSold.com | VOLUME 24 ISSUE 1 PAGE 14 Dynasty Hospitality Brokerage BROKER OF RECORD Dir: 416-558-5560 Bus: 905-915-3310 mpawar71@yahoo.com WE HAVE MANY HOTELS/MOTELS NOT LISTED HERE. WE PROVIDE FULL ASSISTANCE IN FINANCING, DUE DILIGENCE AND IN COMPLETION OF TRANSACTION TO OUR CLIENTS. PLEASE CALL! THE HOTEL BROKER EXCLUSIVE LISTINGS! Ranked #1 Broker World Wide 2019, 2018 & 2016 In REMAX System M.A., B.ED. WE ARE ENGAGING WITH HOTEL OWNERS FOLLOWING THE IMPACT OF COVID-19 ON THE INDUSTRY, AND THERE’S POTENTIAL FOR US TO OFFER MORE HOTELS FOR SALE AT DISCOUNTED PRICES! PLEASE CALL FOR MORE DETAILS 165 ROOM HOTEL IN TORONTO 110 ROOM FRANCHISE HOTEL 3 FRANCHISE HOTELS IN NOVA SCOTIA / HALIFAX TWO FRANCHISE HOTEL UP NORTH 65 RM NEW FRANCHISE HOTEL 170 ROOM HOTEL HIGH END FLAG HOTEL IN GTA FRANCHISE HOTEL IN NORTH Fully Renovated high End Flag. 7 Story Building all Limited Service Hotel Amenities. Great Revenue NOI, Great Location about 1hr from Toronto. Revenue around $2.3 Mil. Potential to Re-brand With Highend Franchise Near all Amenities, Great Location, Established Business, Busy Hotel, Good Cap Rate. Great location, Highway exposure, In great condition, Pre-Covid revenue $5.5 million, strong return on investment. Some VTB Possible East on 401 highway, about $1,5 mil revenue, potential for revenue growth. Financing assistance will be provided Great Location, Low Operating Cost In Ontario, Top Franchise. Can Be Sold Individually. Good Performing Hotels, Room Count Range for Each Hotel 90-200 RMs. VTB Possible & Assistance in Financing Low Operating Cost, Established Business, Price Range: $4M -$8M. 50-100 Room Asking price at 10% Cap Rate. Great Investment. Total of 165 Room Upgrade Hotel. Over RR 4M. Revenue About 10% Cap Limited Service Hotel With Meeting room, Pool. $1.7M Revenue. 9.5% Cap Approx 2 Hrs from Toronto. Franchise Hotel. Total Revenue pre-covid: $9M Great Location with All Amenities, Pre-Covid Revenue $5.5M. Discounted Price! BEST HOTEL IN TOWN! Room revenue Around 1.6 M. Well Established Business and Reputable Hotel. Same Owner for Many Years. 175 RM FRANCHISE HOTEL IN GTA 121 ROOM FRANCHISE HOTEL IN GTA 85 ROOM FRANCHISE MOTEL HOTEL PORTFOLIOUP TO 6 HOTELS ASKING $16.5 Million ASKING $8 Million PLEASE CALL FOR MORE DETAILS PLEASE CALL FOR MORE DETAILS ASKING PRICE $5.9 MILLION ASKING PRICE $5.9 MILLION PLEASE CALL FOR MORE DETAILS Asking About 10% Cap Asking $7 Million ASKING $22 Million PLEASE CALL FOR MORE DETAILS ASKING PRICE 4X REVENUE 100 & 200 RM HOTEL IN GTA 3 FRANCHISE HOTELS 120 RM FRANCHISE HOTEL TWO HIGH END FRANCHISE HOTEL Top Franchise, Well Performing Assets Pre-Covid. Projected Revenue Loss Recovery in 2021-22. Price Is Discounted Accordingly. Located in Nova Scotia & New Brunswick. Price of 3 Times Revenue. Renovated Hotel. Great NOI. 1 Hour from GTA, Fully Renovated with All Amenities. Revenue $2.85 Million Less Than 5 Years Old. About 80% Occupancy Pre-Covid With Great NOI at 20% Discount Price. Assumable Mortgage Please Call For More Details Please Call For More Details Please Call For More Details Please Call For More Details Highend Branded Hotel with Extra Land. Being Constructed Condo Office Building with Also New 180 Hotel. Everything Approved Under Construction 75 ROOM FRANCHISE HOTEL IN GTA 141 ROOM FRANCHISE HOTEL Great Location. Established Business. Low Operating Expense. Very Well Mai Waterfront Property. Well Built. Growing City. Huge Potential Further. Limited Service Hotel. Total room Revenue Over $3M for 2022 65 ROOM FRANCHISE HOTEL IN MARITIME 200 ROOM HOTEL IN GTA Best Location in Town. Fully Renovated. Room Revenue for 2022 About $2 Mil. Very Low Operating Cost. Please Call For More Details Please Call For More Details Please Call For More Details Please Call For More Details
MARCH 2024 - MAY 2024 | Say you saw it on BizSold! PAGE 15 Danny Yoon BROKER Direct: (647) 309-9497 Dannyyoon.Realtor@gmail.com Professionals always Think of “Price to Value” • Annual Sales (52 Weeks) Volume: $3,600,000 more • Beer& Liquor Sales: $2,500,000 • Cigarette Portion(7%) $250,000 • General Merchandise Portion (15%) $600,000 • Pizza Sales-6 months open (1%) $30,000 11:00 A.M - 6:00 P.M. Except for Sunday • Lottery Commission $20,000/Year • Cash Back of Debit: $2/Transaction, 2% Credit / $0.1 Debit covers Bank Charge fully. Property Info. • Total Area: 19,009.05 ft² (0.436 ac) • Zoning: Commercial • 2nd Floor: 2 bedroom, 1 Washroom Location!!!  3 Units Commercial Units on the Ground Level And 2 Beds Apt Upstairs fully Occupied By the Tenants. Extraordinary Property Comes With an Outstanding Shell Gas Station Performing Over 3.5 Million Yearly, an Excellent Store with Over $1.4 Million Sales Per Year Before HST, 4-Bay New Coin Car Wash Systems, A Fully Automatic New Car Wash System, Three Commercial Units For Lease And A Renovated 3-Bedroom Apt For The Owner. New Double Fiber Glass Tanks (2011). Cigarette Portion Only 40%. Environmental Phase Ii Test In 2018  With Clear Results. Lotto Commission Over $29,000 Yearly. Welcome the Developers or Investors!! • Big potential for Commercial Development for this. • 1 Acre Commercial Property in a vibrant developing area. • 12 Rooms Motel & High Income Entertainment Bar business included. COVENIENCE LCBO OUTLET WITH PROPERTY COMMERCIAL PROPERTY FOR SALE IN LINDSAY BRAND GAS STATION IN KAWARTHA LAKES COMMERCIAL PROPERTY FOR SALE IN BROCK $2,800,000 $1,098,000 $6,000,000 $3,000,000

Full Service: Land Development, Commercial & Investment

HANDS FREE JOINT VENTURE OPPORTUNITIES OVER 15 PROJECTS AVAILABLE IN VARIOUS DEVELOPMENT STAGES

• 125 Units Stacked/Traditional Towns in 4 Acres of Land | $5.5 Million

• 100 Unit Condo Building | Approved & Serviced | $4.5 Million

• & Much More, Call to Inquire

LAND DEVELOPMENT OPPORTUNITIES GAS STATION

• 4.65 Acres of Development Land with Residential Zoning For Sale $999,900

» Minutes to 401

» Serviced Land

» Great opportunity for Builder, Developers or Investors to own this land

» Zoning permits for Single Detached Dwelling, Group home, Small Rental Dwelling

• Hilton Approved, 2.25 Acres Hotel Development Land

» Top tourist destination of 1,000 Island

» Great location at the intersection of Hwy 401 & Hwy 2

» Opposite to a busy Casino

» Final Stage of Approval

• 14 Unit Condo Development Site.

Excellent opportunity to enter a lucrative land development business. Great profitability in Fast growing Highly Sought After Niagara Region

• 51 acres under industrial zoning change process

» Minutes away from Windsor Ontario

» Asking 5.5 Million

» Recent approval of 5 Billion dollar Battery plant in near vicinity

BUSINESSES

• Profitable Pizza Business in Scarborough | $399,000

» No Competition and busy intersection

» Well maintained

» Hands Free Investment

• Bed & Breakfast in 1000 Island

» 10,000 Sq Ft Mansion Style Property on 2.5 Acres

» Top Tourist Destination

» Live & run the Business in gorgeous area w/ close proximity to nature, lake & Hwy 401

• Profitable Convenience Store in Guelph | $105,000

» High-Traffic Area, Good Sales Volume

» Near Apartment Buildings

» Turnkey Operation Including Equipment, Inventory & Systems

» Rent Only $3,500 Incl TMI

TRUCKING/INDUSTRIAL M4 PROPERTIES

• 12 Acres | $12 Million | 1.5 hrs from GTA

• 6 Acres | $12 Million | 200 truck Yard | 45 mins from GTA

• 3 Acres | $11.4 Million | 15 mins Mississauga

• Potential M4 | 15 Acres | $15 Million | 5 mins Brampton

• Newer Esso Gas Station w/ LCBO

1 hr from Mississauga

» C-Store, LCBO & Gas Propane

» 1 Acre of Land with Residential Apartments

» Brand New pumps with 10 Nozzles

» Double Wall Fiberglass tanks and liners

• Hands free Investment w/ 20 yrs lease for Esso Gas Station & McDonalds Development Opportunity for Approved Marriott Hotel

» Close to Hwy with AAA Tenants

COMMERCIAL PROPERTIES

• Brand New 1,900 Sq Ft Commercial Retail Units in Cambridge

» High Traffic Zone

» Excellent Exposure on Prime Retail Area of Hespeler Rd

» Retail units available for lease: 3,000 Sq. Ft. & 1,900 Sq. Ft. @ $35/Sq. Ft. + TMI

• Multi-Auto mechanic business with buildin | 1728 & 1750 King St E, Cambridge

» Centrally located in the heart of cambridge

» 10 minutes to Highway 401

» Total 0.767 acres, 2000 Sq Ft Building Area

• Transport Terminal for lease in Cambridge

» Repair Shop, Office & Truck Terminal

» in 2 acres

» adequate parking

» within minutes to 401 and Flying J Truckshop.

• 4 Fully Rented Commercial Plaza | $1,225,000

» Well-maintained investment property on Huron Street

» Plenty of parking

» Main unit features a very popular restaurant which includes both indoor dining plus a covered outdoor patio

» Two other commercial units with front exposure both with parking. One residential unit at the back of the building.

» Total square footage approx. 5,313 feet.

For Advertising Information Please Call 1-877-337-1188 or visit www.BizSold.com | VOLUME 24 ISSUE 1 PAGE 16
766 OLD HESPELER RD, CAMBRIDGE 519-623-6200
SOLD
MARCH 2024 - MAY 2024 | Say you saw it on BizSold! PAGE 17 Jay Sekhon Broker Each Office Independently Owned & Operated Dir: 416.819.7272 Off: 905.673-1212 BROKERAGE PARAMOUNT REALTY jsekhon1@yahoo.com BRAND NAME GAS STATION FOR SALE 6 UNIT MULTI RESIDENTIAL PROPERTY WATERFRONT COTTAGE FOR SALE ONTARIO HOBBY FARM ANIMAL FOR SALE 10 UNIT APARTMENTS FOR SALE CARWASH WITH SELF STORAGE 18 ROOM MOTEL FULLY LEASED 5 UNITS FOR SALE WATERFRONT COTTAGE FOR SALE 44 RM MOTEL WITH INDOOR SWIMMING POOL NEAR USA HIGH END FURITURE SHOWROOM FOR SALE MULTI RESIDENTIAL FOR SALE BIG AUTO PLAZA RETAIL/COMMERCIAL PLAZA FOR SALE PLACE OF WORSHIP FOR SALE CONVENIENCE STORE FOR SALE WATERFRONT COTTAGE ON 5 ACRE LOT FOR SALE LCBO & CONVENIENCE STORE FOR SALE GAS STATION FOR SALE 3 BDRM HOME FOR SALE IN EDMONTON, AB 100 ACRE FARM HOUSE CONVENIENCE STORE FOR SALE WATERFRONT COTTAGE FOR SALE SUPERMARKET WITH LCBO BRAND NAME GAS STATION FOR SALE 15 ROOM MOTEL 20 ROOM MOTEL FOR SALE Tourist Area. Income Generating Property. 3 Bedrooms. 1 Hour From London. 2 Year Old Bunglow. Many Buildings For Goats, Lambs, Chicken Etc... 2 Hours From GTA, Near Watefront 6% Cap RAte Good Location. Great Future Potential Owner’s Residence. Busy Highway 3 Hours from GTA Good Condition. Good Cap Rate 1.5 Hrs From GTA 2 Bedroom Cottage, Beautiful and Clean Water Shoreline. Fully Equipped 2 Bedroom Cottage, Beautiful and Clean Water Shoreline. Fully Equipped Prime GTA Location 10 Units Fully Leased 3 Hours From Toronto Gas Station, Truck STop, C-Store + LCBO. Truck Parking, U-haul and Country Style Fully Leased, Commercial Retail Plaza Great Location Kitchener Area. Seats upto 250 People GTA Location. High Sales Volume, Lotto Commission Covers Rent and All Expenses. 500 Ft Clean Waterfront Mature Trees 3 Hours From Toronto Busy Location Brand Name Gas Station with CAr Wash. Volume Over 5 Million Litres. Very Busy Store New Homes - 3 Bdrms, Detached with Finished Legal Basement. 3 Bdrm House + Many Other Buildings. Perfect to Raise Lambs, Chickens & more. 1 Hour From GTA Weekly Sales $20,000 On Main Waters, 3 Hours West of GTA LCBO Sales: $2.4 Million Store Sales: $900,000 Vol. 4 Million Litres. Store Sales $1.2Million Very Busy Location With Owners Residence. Fully Upgraded Good room and Parking Owners Res. Busy Hwy Location 4 Hours From GTA 6 Unit Multi Residential Gas Volume 5 Mil. Very Busy Cstore. Auto Car Wash, 2 Hrs from GTA ASKING: $580,000 ASKING: $580,000 ASKING: $1,399,900 ASKING: $1,700,000 ASKING: $990,000 ASKING: $840,000 ASKING: $370,000 ASKING: $370,000 REASONABLY PRICED ASKING: $1,800,000 ASKING: $9,200,000 ASKING: $6,200,000 ASKING: $850,000 ASKING: $300,000 ASKING: $700,000 ASKING: $1,370,000 ASKING: $4,300,000 ASKING: $540,000 ASKING: $800,000 INQUIRE ASKING: $410,000 ASKING: $2,200,000 ASKING: $3,500,000 INQUIRE ASKING: $1,300,000 ASKING: $1,300,000 ASKING: $4,200,000

A Very High Margin Convenience Store with High Sales and High Lottery in Oakville. Store Sales: $30000/Week with Over 70% Grocery Sales and only 30% Cigarette Sale PLUS High Lottery Commission: $11000/Month! This Gem wont Last! Call Now before it is Sold!

Asking: $899,000 Financing: Available

GAS STATION, TIM HORTONS WITH PLAZA FOR SALE NEAR GTA

A beautiful location for this branded Gas Station with a very High Volume Convenience store, Car Wash, Coin Laundry, TIM HORTONS and other Tenants. Very busy location just 2.5 Hours from GTA in a major town very close to the water. An excellent opportunity which should not be missed by any serious buyer/investor.

CONVENIENCE STORE FOR SALE IN NORTH YORK

Location Location Location!

A Must See Store established for MANY years surrounded by all Condominium and Apartment Buildings. SALES: $30000/ Week. Very High Margin Store PLUS Lotto Comm: $6000/Month PLUS ATM PLUS Other Income. Rent ONLY $6000/Month (Incl TMI).

Asking: $7,500,000 Financing: Available Asking: $ 599,000 Financing: Available

CONVENIENCE STORE FOR SALE IN BRAMPTON

ATM Comm: $1000/Month PLUS Other Income from Misc services. Same owner for approx 13 Years. Cant be a better store in a better location in Brampton!

GROCERY STORE WITH LCBO AND BEER STORE FOR SALE

potential to increase Revenue and Profit. NET NET NET $350000!

Asking: $299,000 Financing: $225,000 Asking: $2,790,000 Financing: $1,600,000

Lottery over 3 times the Rent. Figures say it all. STORE SALES: $30000/Week PLUS LOTTERY COMMISSION: $16000/Month and Rent incl TMI: ONLY $5000/Month. Highest Lottery for a Convenience Store in Etobicoke. Brand New Listing. NET NET: $250-300K! MUST MUST SEE! Never seen Never heard! Will Not Last! Call Now to own this Gem!

Asking: $749,000 Financing: Available

GAS STATION + APARTMENTS AND LCBO AND BEER STORE

Simply Unbelievable Deal!

than 1 hour from GTA. Gas Sales Approx 3 Mill Litres with Very HIGH margins (No competition) PLUS$3 Million Store Sales PLUS Lotto Comm PLUS ATM Comm PLUS Rental from 2 beautiful apartments. Can add another store on this beautiful 1 ACRE Lot which can be leased to generate extra income. Lots of potential! Contact Now ! NET NET NET: $500000

Asking: $5,490,000 Financing Available

CONVENIENCE STORE FOR SALE NEAR BRAMPTON

An excellent store and a Real Money Maker. Cannot simply find a better deal! Store Sale: $14000/Week PLUS Lotto Comm: $5500/Month PLUS Other Comm: $500/Month Very low monthly rental of ONLY $3900/Month

Asking: $249,000 Financing: $210,000

CONVENIENCE STORE FOR SALE IN BRAMPTON

Excellent Location for this very well established convenience store in the heart of Brampton Multiple APARTMENT BUILDINGS complex. Store Sales: $18000/Week PLUS Lotto Comm PLUS Other Income. Very Low Rent. Very High Margin Store!! 70% sale is from Grocery Products! Call Now for more Details. NET NET: 150000-160K.

ASKING: $429,000 FINANCING: $250,000

CONVENIENCE STORE FOR SALE IN NORTH YORK

Location Location Location! Just across from an all-girls High School with 700 students! Store Sales: Approx $30000/ Week PLUS Lotto Comm: $7000/ Month PLUS Other Comm:$500/Month. Potential to increase the sale easily to $35000/Week as the school is newly built to open in Fall 2021!

ASKING: $499,000 FINANCING: $250,000

Sales LESS than 10%. Should not be missed! Contact Now for more details.

Asking: $749,000 Financing: $350,000

For Advertising Information Please Call 1-877-337-1188 or visit www.BizSold.com | VOLUME 24 ISSUE 1 PAGE 18 HOMELIFE SUPERSTARS REAL ESTATE LTD. Homelife Superstars • Top 5% Realtors in CANADA • NO.5 Listing Agent in CANADA • Chairmans Club Award • Source Homelife Off: (416) 740-4000 teamaloknagpal@gmail.com • FOR BEST BUSINESS LISTINGS IN YOUR AREA, CALL THE BUSINESS SALES SPECIALIST! CALL TODAY... • CALL FOR COMPLEMENTARY MARKET EVALUATION AND PROFESSIONAL ADVICE OF YOUR BUSINESS AND INCOME PROPERTY. REQUIRED CONVENIENCE STORE, SUBWAY AND COFFEE SHOPS LISTINGS FOR CASH BUYERS. WANTED PLAZA AND MULTI UNIT APARTMENT BUILDINGS LISTINGS FOR CASH INVESTORS. VAPE STORE FOR SALE IN SCARBOROUGH HIGHEST LOTTERY CONVENIENCE STORE IN MISSISSAUGA Highly profitable Vape Store in heart of Scarborough. NET NET $100K/Year! Call Now for more details! Lottery over 3 time the Rent. Figures say it all. STORE SALES: $30000/Week PLUS LOTTERY COMMISSION: $17000/Month and Rent incl TMI: ONLY $5000/Month. Highest Lottery for a Convenience Store in Mississauga. Brand New Listing. Will Not Last! Call Now to own this Gem! NET NET: $250-300K Asking: $199,000 Financing: Available Asking: $749,000 Financing: Available SUPERMARKET FOR SALE IN TORONTO Very well established supermarket in Toronto Established for over 20 Years. Approx Sales $2 Million PLUS Other Income $60000/Year Lotto and Other Income pays Rent. Cigarette
a Location Location! Next to High School.Store Sales: $15000/Week PLUS Lotto Comm: $4000/Month PLUS Western Union and
Very well established for over 50 years 1.5 hours from GTA. Almost an acre of lot includes over 7500 Sq Ft of Building with a very busy Grocery Store with LCBO and Beer Store. Sales over $3 Million PLUS Other Income. Can bring in Lottery for more income. Lots of
Less
CONVENIENCE STORE FOR SALE IN BRAMPTON
is SOLD
GAS STATION WITH MCDONALD’S AND CAR WASH FOR SALE A beautiful location for this brand new built location for a branded Gas Station with Mcdonald’s and Car Wash on approx. 2 acres land. The only Mcdonald’s for many cities. Less than 2.5 hours from GTA. Please contact for more details. Asking: $6,490,000 Financing: 70% - 75% CONVENIENCE STORE FOR SALE IN BRAMPTON Very well established for over 50 years just 1.5 hours from GTA. Almost an acre of lot includes over 7500 Sq Ft of Building with a very busy Grocery Store with LCBO and Beer Store. Sales over $2.5 Million PLUS Other Income. Can bring in Lottery for more income. Lots of potential to increase Revenue and Profit. NET NET NET $250000! BRANDED GAS STATION FOR SALE Branded Gas Station 2 hours from GTA! Highest margin Gas Station with the best contract available in the industry. Asking: $3,290,000 Financing: 65% Asking: $299,000 Financing: $200,000 BRANDED GROCERY STORE WITH PROPERTY Very well established for many years 3 hours from GTA Almost an acre of lot includes over 6000 Sq Ft of Building with a very busy branded Grocery Store Sales over $2 Million PLUS LOTTO PLUS Other Income High Margin as 90% of sales is Grocery Lots of potential to increase Revenue and Profit NET NET NET $250000! Asking: $1,790,000
An excellent store and a great location. Store Sales: $18,000/ Week PLUS Lotto Comm: $5,500/ Month PLUS Other Comm: $500/Month. Simply one of the best stores around. Contact Now Before it
Asking: $399,000 Financing: $250,000
Financing: $1,100,000
CONVENIENCE STORE FOR SALE IN OAKVILLE
BEST
CONVENIENCE STORE IN ETOBICOKE

GAS STATION WITH MCDONALD’S

A beautiful location for this brand new built location for a branded Gas Station with Mcdonald’s. The only Mcdonald’s for over 17 cities. Less than 1.5 hours from GTA. Extremely busy and projections are great!

Asking: $5,790,000 Financing: 70%

CONVENIENCE STORE FOR SALE IN BRAMPTON

Location Location! Store Sales:

Excellent Location just on the Lake for this 2 Year Old Busy Gas Station with Tim Hortons. No Competition! Very Busy and High Margin Store. One of the highest Tim Hortons Rent! Wont Last! Contact Now to discuss Further!

Asking: $5,495,000 Financing: Available

GROCERY STORE FOR SALE IN TORONTO

$12000/Week PLUS Lotto Comm: $4000/Month PLUS Western Union and ATM Comm PLUS Other Income. Contact Now and Own this Gem and to know more details! Very well established Grocery Store in Toronto. Established for over 15 Years (same owner). Approx Sales $1.7 Million Plus Lotto Other Income. Cigarette Sales ONLY 15%. Should not be missed! Contact Now for more details

Asking: $209,000 Financing: $170,000

CONVENIENCE STORE FOR SALE IN WOODBRIDGE

No other store is better than this one. Lottery and Other Commission pays Rent. Store Sales: $21000/WEEK PLUS Lotto Comm and Other Income: $5400/Month (Incl TMI). Lots of New Development and future potential to increase the sales!

A MUST-SEE LOCATION! NET NET NET $100000 – 120K

Asking: $299,000 Financing: $180,000

Asking: $499,000 Financing: $300,000

GROCERY STORE WITH LCBO, BEER STORE & 3 APARTMENTS

Excellent Location for this very well established Branded Grocery Store with Beer Store and LCBO established for Many Many Years. Approx Sales $3.6 Million. Store Sales: $2.4 Mill and Liquor Sales: $1.2 Mill. Very high Margin Store. PRICE INCLUDES BUSINESS, LAND & BUILDING & 3 RENTED APARTMENTS! Only 45 Mins from Toronto. Should not be missed! Contact Now for more details.

Asking: $2,990,000 Financing: Available

Development Land for Sale just on the lake. Beautiful Location. Build your dream home/cottage.

CONTACT FOR MORE DETAILS

CONVENIENCE STORE FOR SALE IN NORTH

YORK

Location Location Location!

A Must See Store established for MANY years Surrounded by all Condominium and Apartment Buildings. SALES: $30000/Week. Very High Margin Store PLUS Lotto Comm: $6000/Month PLUS ATM PLUS Other Income. Rent ONLY $6000/Month(Incl TMI). Pls contact for more details

Asking: $529,000 Financing: $250,000

CONVENIENCE STORE FOR SALE IN MISSISSAUGA

Location Location Location! Must See,Must Buy and Make Money!! This Independent Convenience store will not last in the market. Store PLUS Lottery PLUS ATM!! Very well established for many years. Great potential for a good operator! Exclusive Listing

INS AND FIT FOR LIFE FRANCHISE FOR SALE

Multiple INS and fit for Life Locations available in and around GTA.

CONTACT FOR MORE DETAILS

CONVENIENCE STORE FOR SALE IN BRAMPTON

Excellent Location for this very well established convenience store in the heart of Brampton In multiple APARTMENT BUILDINGS complex. Store Sales: $16000/Week PLUS Lotto Comm PLUS Other Income. Very Low Rent. Very High Margin Store!! Major Sales is from Grocery Products! Contact Now for more Details. NET NET: 100000-120K.

and the same owner since then. NET NET NET: $110K-120000/year. Call for more details. VERY LOW RENT for this over 4000 Sq Ft beauty!!Exclusive Listing.

Asking: ONLY $15,000

Asking: $329,000 Financing: $250,000

2 GAS STATIONS FOR SALE TIM HORTONS

2 Gas Stations for sale with Tim Hortons 1.5 hours from GTA! Newer Locations. Can be Sold as a package. EXCLUSIVE Listings!

Asking: $299,000 Financing: $275,000

Store. Surrounded by Apartment Buildings. Store Sales: $18000/Week PLUS Lotto Comm: $6000/Month PLUS ATM PLUS Other Income. Low Rent of Only $4200/Month. CONVENIENCE STORE FOR SALE IN CALEDON CONVENIENCE STORE IN

Asking: ONLY $15,000

Asking: $149,000 Financing: $135,000

Inquire for Price Financing: Available

Asking: $129,000 Financing: $110,000

STORE

MARCH 2024 - MAY 2024 | Say you saw it on BizSold! PAGE 19 HOMELIFE SUPERSTARS REAL ESTATE LTD. Homelife Superstars • Top 5% Realtors in CANADA • NO.5 Listing Agent in CANADA • Chairmans Club Award • Source Homelife Off: (416) 740-4000 teamaloknagpal@gmail.com • SELLERS ALERT: LISTINGS WANTED URGENTLY FOR QUALIFIED BUYERS. CALL NOW FOR A CONFIDENTIAL NO OBLIGATION MEETING. • CALL FOR COMPLEMENTARY MARKET EVALUATION AND PROFESSIONAL ADVICE OF YOUR BUSINESS AND INCOME PROPERTY. Homelife Superstars Realty Inc., Brokerage. The Information contained herein has been provided to Homelife Supertars Realty Inc., Brokerage by others. We do not warrant it’s accuracy. You are advised to independently verify the information prior to submitting an offer and provide for sufficient due diligence in an offer. The information contained herein may change from time to time without notice. The property or business may be withdrawn from the market at any time without notice Asking: $79,000 Financing: $50,000 Asking: $79,000 Financing: $50,000 WOW! Real Value for Money. Lotto Comm and ATM Comm pays Rent!! All serious buyers will grab this!! Sales: $14000/Week PLUS Lotto Comm: $2700/Month PLUS Other Income: $900/Month. Potential to add more businesses. Call Now for more details. Will Not last at this price. NET NET: $100000... Asking: $215,000 Financing: $ 160,000 Asking: $149,000 Financing: $110,000 Asking: $399,000 Financing: $225,000 Lottery Double the Rent!! Location Location! Next to High School. Store Sales: $12000/Week PLUS Lotto Comm: $4000/Month PLUS Western Union and ATM Comm PLUS Other Income. Contact Now and Own this Gem and to know more details! Asking: $199,000 Financing: $80,000 CONVENIENCE STORE FOR SALE IN BRAMPTON CONVENIENCE STORE FOR SALE IN KITCHENER
excellent store
Real Money Maker. Corporate location Store Sale:
Lotto
Financing:
CONVENIENCE, DOLLAR & DISCOUNT STORE IN WINDSOR Same owner for 18 Long years. Very well established dollar and discount store with LOTTO One of the oldest store in Windsor
An
and a
$18000/Week PLUS
Comm:$3500/Month PLUS Other Comm: $500/Month. A Must-See Store! This one is truly a Gem! Asking: $299,000
$250,000
TORONTO
$2600/Month. Contact Now Before it is SOLD Excellent EXCLUSIVE Locations for Branded Gas Stations from $3 Million to $6 Million in and around GTA. A couple of them with TIM HORTONS ad Mcdonalds lease. CALL NOW for more Details. Asking: $99,000
$90,000
Available CONVENIENCE STORE IN NIAGARA FALLS GAS STATIONS FOR SALE Excellent location for this very high margin convenience store on the border of Brampton
Caledon. Sales: $10000-11000/Week
growing PLUS Lotto 649 Comm: $1500/Month PLUS ATM Comm PLUS West Union. Beautiful Office at the back. Can be used for convenience store and a professional office. LOTTO PAYS RENT! Excellent Location for this very well established Convenience
ETOBICOKE/TORONTO
CONVENIENCE
FOR SALE IN
An excellent store and a Real Money Maker! Break Even is Less Than 2 Years. Cannot simply find a better deal! Store Sale: $13000/Week PLUS Lotto Comm: $1500/Month PLUS Other Comm: $1000/Month Very low monthly rental of ONLY
Financing:
Asking: Only $3,000,000 Financing:
and
and
DEVELOPMENT LAND FOR SALE GAS STATION WITH TIM HORTONS BRAND NEW

• 40 Min From GTA

• Gross Income $3 million.

• Net Income $278,000.00 yr

• Building Is Just 11 Years Old, Approx. 3,224 sq. Ft.

HomeLife Maple Leaf Realty Ltd, Brokerage

Off: 905-456-9090

• Total Area: 1400sft

• Rent: $3250 included TMI

• Approximately 1/3 Acre (13,648.63 Sq Ft ) With Lots Of Paved Parking.

$2,300,000 $380,000 $469,000 $7,000,000

• Established for over 13 Years (same owner).

• GROSS SALE $1.3 MM

• NET INCOME: $156,000.00

• TOTAL BUILDING: 2800 SQFT

• RENT + TMI: $9500 Per month.

• Very well-established Grocery Store

• Type: Detached Bungalow, Liveable space 4700Sft, Three Years Old

• Bedrooms: 6

• Washrooms: 6

• Three Car Garage

• Land Size: 1.7 Acres

• An inventory cost of $250,000.00 is included in the listed price

• 5214 Square Feet

• Gross income $450000.00

• Net Income $80000.00

• Auto Repair Shops - 9 Units fully leased

• Total Area: 37000 ft²

• Free-standing 13000sft Building

• Net Income $466,220.00 yr

• Cap: 6.5%

• Clear Height:15’ 5”

• Well-Established Convenience Store Over 30 Years

• Building 1800 Sft

• Rent $3600 includes TMI Mth

• Gross Sale $540,000.00

• Net Sale $83692.00 yr

• Lease: 5+5 yr

• Net Income: 170000.00 yr

• Rent: $7477.22 Monthly

• Total Area:2,726 Sq Ft

• Lease: 2.5+5

• Incredible Bakery, Very Profitable Business In The Same Location For 40 Years

• Virtually All Bakery Products

• Esso Gas Station With Automotive Shop

• Prime Location, Build In 2021

• Gas Volume: 4,000,000 Liters

• Net Income: $547000.00

• Acres Of Land: 0.78

• Pump: 4

• Well-A Established Automotive Business With 2 Service Bays

• Car Paint Booth

• Lease: $6000 Gross per Month

• Building Area: 4000sqf

• Total Parking outside : 8

• Services Include Tire Sales/ Repair+++

For Advertising Information Please Call 1-877-337-1188 or visit www.BizSold.com | VOLUME 24 ISSUE 1 PAGE 20 PROPERTY + C-STORE + LCBO + BEER STORE INDEPENDENT GROCERY STORE FOR SALE IN MISSISSAUGA DOLLARXPRO, GAMES, PARTY SUPPLIES & GIFTS IN SMITHVILLE AUTO PLAZA FOR SALE IN BRAMPTON M2 ZONING CONVENIENCE STORE IN BRAMPTON ESTABLISHED AUTOMOTIVE BUSINESS BRAMPTON GAS STATION FOR SALE IN GTA BAKERY & RESTAURANT FOR SALE DET. BUNGALOW WITH 6 BDRMS & 6 BATHS ON 1.7 ACRES - MANSFIELD CONVENIENCE STORE IN SCARBOROUGH
Jag Mann Dir: 647.618.5049
jagroopmann@hotmail.com Broker www.jagmann.ca
$240,000 $199,000 $6,400,000 $399,000
$1,598,000 $2,300,000
MARCH 2024 - MAY 2024 | Say you saw it on BizSold! PAGE 21 Rocky Sekhon Dir: 416.895.4896 Off: 905-673-1212 rocky_sekhon@yahoo.com Broker of Record/Owner RE/MAX Paramount Realty, Brokerage PLAZAS • MULTI RESIDENTIAL • LANDS PRE-CONSTRUCTION CONDOS AVAILABLE IN GTA PLAZA FOR SALE CANNABIS STORE AVAILABLE FOR SALE LONDON 100 ACRE FARM FOR SALE 1 HOUR FROM GTA PLAZA FOR SALE 2 HRS EAST OF TORONTO 45 RM MOTEL WITH INDOOR POOL MAIN FLOOR COMMERCIAL WITH RESIDENTIAL MULTI-UNIT RESIDENTIAL BUILDING NEAR UNIVERSITY MULTIPLE DEVELOPMENT LAND FOR SALE CLOSE TO GTA PLAZA WITH GROCERY STORE 2 HRS WEST OF TORONTO PLAZA FOR SALE IN WINDSOR $1,100/SQ FT $6,500,000 $299,999 $1,600,000 $4,600,000 $1,990,000 $1,100,000 $3,200,000 $15,000,000 $6,400,000 • Pre-Construction Condos • GTA Etobicoke • Secure Now • Closing In 4-5 Years • Assignment Available • Extended Deposit Structure • Withing 45 mins of the GTA • Great cap • Call for Details • Pride of Ownership • Great Look & Sales • Farm Is Located South West Of Toronto • 100 Acres • Over 80 Acres Of Cultivation Land • Great Cap Rate • Shows Great • Triple Net Leases • On 2 Acre Corner Lot • Fully Staffed • Turnkey Operation • Absentee Owner • Busy Year Round • Near US/CAN Border • Room Rev. $700K • St Catherine’s • Great Investment for End User • Residential Units All Leased • 11 Residential Units • 2 Commercial Units • All Units currently leased out • Backing onto a University • Fully Leased • Income Generating • 174 Unit Apartment Site Plan Approved • 16 Unit Condo Corp Site Plan Approved • Multiple Sites for Gas Station Plan Approved • Price Range From 1.8 Mil to 13.1 Mil • AAA Tenants • Long Standing Leases • Highly Populated Area • 14 Unit Plaza Available • Great Mix Of AAA Tenants • Medical, Local, And Franchise Tenats • Located In A Busy Area • Good Cap Rate JOHNY THOMAS keytohome123@gmail.com BROKERAGE INDEPENDENTLY OWNED AND OPERATED ULTRAMAR GAS STATION NEAR GTA • High vol gas & C-store • Tim Hortons approval FRANCHISE MEDITERRANEAN RESTAURANT • Established profitable within Toronto • New restaurant ppportunity within GTA available with minimum investment of $100k ESSO GAS STATION WINDSOR ESSO ON THE RUN EAST OF TORONTO • 3 acres of land for development • Convenience store High speed diesel pump • Potential for hard lock • Esso gas station on highway close to 401 and 407 Potential for food chain franchise • Tesla EV charger • Coffee Time, propane filling station. • 1 high speed diesel pump, open short hrs, free standing building Great margin with 2 cents cross lease. Very easy to operate, daily high traffic flow. C-store sales 1.3 M + Potential for beers sales Very reasonable rent • Downtown Windsor, C store, Rental income RETIREMENT HOME FOR SALE IN GTA NEW MOBILE GAS STATION CONVENIENCE STORE RENTAL COMMERICAL/ APARTMENT UNITS HOME HEALTH CARE FRANCHISE PETRO CANADA & TIM HORTONS • Gas volume 7 million+ • 6 acres • 1 hr from GTA • Turn key profitable operation • Full training and support provided • Within the GTA • 2000 + 2000 sf, 2 loading docks Homelife/Miracle Realty Ltd Brokerage FRANCHISE EMPLOYMENT AGENCY Profitable & well established • Existing location with in GTA • Est. locations are available in U S A • Profitable and well established • With in the GTA (416) 414-7625 SALES REPRESENTATIVE COMMERCIAL PLAZA UNITS TORONTO NEW ESSO AND MOBILE GAS STATION & C STORE IN NIAGRA DOLLAR STORE/C-STORE HIGH VOLUME CONVENIENCE STORE DOWNTOWN TORONTO MOBILE GAS STATION WITH COMMERCIAL & RESIDENTIAL UNITS IN NIAGARA AREA NEW ESSO GAS STN + AUTOMATIC TOUCHLESS CAR WASH, OWEN SOUND Realty Enterprises Inc. Brokerage RECOMMENDED REALTOR OF A.D.C.O. & C.C.M.A. Off: 905 855-2200 ontariochildcarecentres.ca EDUCATION BUSINESSES Incl: Child Care Centres & Private Schools PRIVATE AND CONFIDENTIAL CONSULTATIONS - CALL TODAY! Dir: 647-284-8885 joseph.ward@sympatico.ca JOSEPH WARD ONE STOP SERVICE • Association of Day Care Operators of Ontario (ADCO) • Canadian Council of Montessori Administrators (CCMA)
Large Lot with House rented at $3,700/mo • Drawings for 13,426 Sq. Ft. Building Included KING CITY LAND FOR SALE PROPERTY ZONED FOR CHILDCARE RECOMMENDED REALTOR OF CALL FOR DETAILS $3,650,000 I HAVE THOUSANDS OF THESE CONTACTS THAT I AM IN REGULAR COMMUNICATION WITH AND THEY CAN AND WILL INFLUENCE AND CONTRIBUTE TO THE SALE OF YOUR BUSINESS.

BRANDED HOTELS AND MOTELS FOR SALE NEAR GTA MULTIPLE LANDS AVAILABLE FOR GAS STATION DEVELOPMENT

M

6 Million + fuel, 1.2 c-store sales. High potential property. GTA location.

CANADA GAS STATION CONSIGNMENT BRAND GAS STATION FOR SALE GAS STATION WITH CAR WASH FOR SALE

GAS STN IN MAJOR TOWN

CANADA GAS STATION

Million plus Gas Volume. 1.5 Hours North, room to add food partner,

CONSIGNMENT BRAND GAS STATION FOR SALE GAS STATION FOR SALE PLAZA WITH AAA TENANTS FOR SALE

8 Million + fuel, 1 million c-store, rental, GTA location

Acres of Land, Long Leases, Under Contract

minutes from Brampton, 4 bdrm apartment, huge c-store and room for a food franchise. Huge potential

CONSIGNMENT BRAND GAS STATION FOR SALE

Tim Hortons

VOLUME CONSIGNMENT BRAND GAS STN FOR SALE GAS STATION WITH 4 BEDROOM APARTMENT GAS STATION FOR SALE

For Advertising Information Please Call 1-877-337-1188 or visit www.BizSold.com | VOLUME 24 ISSUE 1 PAGE 22 Sales Representative charankhaira@gmail.com 647.740.6847 Cell: CHARAN KHAIRA MANY MORE GAS STATIONS, HOTELS, MOTELS, LAND AVAILABLE FOR SALE. We have qualified buyers looking for Plazas from $ 1 Million - $ 15 Million Branded Hotels and Motels for Sale, Located in and close to GTA. From $1.7 million to $50 million 10045 Hurontario St #1 Brampton, ON L6Z0E6 ROYAL LEPAGE CREDIT VALLEY REAL ESTATE Tel: 905-793-5000 BROKERAGE Located in and close to GTA House, Rental almost 60K a year, high traffic location. 3 hrs from GTA Near densely populated area, a lot of foot traffic. On The Way To Around 3 Million Plus Volume, High Margins London Area. With A House, Very High Traffic Count. C-Store 1.65 Million, Gas 9 Million Food Partners, Room To Add More With Food Partner Available for sale, 5 million plus, c-store 1 million plus. with car wash, high store sales, towards London, ON. with car wash, huge building Heart of town, 7
6.5
With
35
ESSO
ESSO
ESSO
NEWLY BUILT ESSO GAS STATION MOBIL GAS
GAS STN WITH 3 + ACRES
GAS STN IN MAJOR TOWN
STATION FOR SALE PETRO
PETRO
$2,300,000
HIGH
FROM $1.7
TO $50 M CALL FOR DETAILS $3,400,000 $2,500,000 $2,500,000
$2,200,000 $4,500,000 $4,000,000 CALL FOR DETAILS $3,400,000 $2,700,000 CALL FOR DETAILS $6,500,000 CALL FOR DETAILS $4,500,000 $3,600,000 $4,300,000
MARCH 2024 - MAY 2024 | Say you saw it on BizSold! PAGE 23 MANY MORE GAS STATIONS, HOTELS, MOTELS, LAND AVAILABLE FOR SALE. We have qualified buyers looking for Plazas from $ 1 Million - $ 15 Million Branded Hotels and Motels for Sale, Located in and close to GTA. From $1.7 million to $50 million 10045 Hurontario St #1 Brampton, ON L6Z0E6 ROYAL LEPAGE CREDIT VALLEY REAL ESTATE Tel: 905-793-5000 BROKERAGE Sales Representative charankhaira@gmail.com 647.740.6847 Cell: CHARAN KHAIRA ALMOST 200 ACRES OF POTENTIAL FUTURE DEVELOPMENT 50 UNIT CONDOMINIUM NEAR GTA, WITH SITE PLAN APPROVAL. 95 + ACES, FUTURE DEVELOPMENT POTENTIAL, NEAR GTA 30+ CONDOS, SITE PLAN APPROVED 90+ ACRES OF FUTURE DEVELOPMENT POTENTIAL, (IN NE) NEAR GTA 96 PLUS ACRES, FUTURE DEVELOPMENT LAND, IN GTA 47 + ACRES OF FUTURE DEVELOPMENT LAND (INDUSTRIAL ZONING POTENTIAL) NEAR GTA 40 ACRES OF FUTURE DEVELOPMENT POTENTIAL, NEAR GTA RESIDENTIAL DEVELOPMENT LAND PEEL REGION. $90 MILLION $26 MILLION $3 MILLION $25 MILLION $125 MILLION $60 MILLION $25 MILLION CALL FOR DETAILS CALL FOR DETAILS Site plan approval and without site plan approval in and around GTA. plan in approval process. Will be approved by September 2023 30,000 sqft retail may be approved by the Town. 4 plus acres. You get the site plan approved and save $$$ LAND FOR SALE 15000 + SQFT RETAIL AND 24 STACKED TOWNHOMES 200+ CONDOS, $1.5 MILLION $4.5 MILLION $3.2 MILLION
For Advertising Information Please Call 1-877-337-1188 or visit www.BizSold.com | VOLUME 24 ISSUE 1 PAGE 24 Broker paul@paulgill.ca 416•300•7285 Cell: JOIN OUR TEAM 95-100% COMMISSION & 100 FREE LEADS INVESTMENT OPPORTUNITIES RESTAURANTS FOR SALE PROPERTIES FOR SALE Paul Gill BRAND NEW INDUSTRIAL BUILDING Hamilton area 5000- 50,000 sqft 28 Clear height. FROM $ 375 PSF 2 TRUCK YARD ACTON 2.5 acres with 2800 SF building. Fully graded & fenced City approved with zoning in place $ 5.4 MILLION TRUCK YARD MILTON 25 acres fully graded & approved. CALL FOR DETAILS TRUCK YARD MILTON 3 acres 15K sqft building. CALL FOR DETAILS BRAND NEW INDUSTRIAL PLAZA IN HAMILTON from 375 sqft CALL FOR DETAILS INDUSTRIAL UNIT BRAMPTON 2500 sqft CALL FOR DETAILS INDUSTRIAL UNIT BRAMPTON 4000 sqft CALL FOR DETAILS 7 ACRES INDUSTRIAL LAND CALEDON with Truck Parking with industrial building CALL FOR DETAILS LAND FOR SALE CALEDON 95 acres 5 Mins from Brampton CALL FOR DETAILS LAND FOR SALE CALEDON 10 acres Close to New Subdivision CALL FOR DETAILS 55K SQFT WITH 5 ACRES MISSISSAUGACALL FOR DETAILS 100 ACRES CALEDONCALL FOR DETAILS 126 ACRES LAND Near Subdivision Caledon CALL FOR DETAILS RESTAURANT MISSISSAUGA 3,400 SF, LOW RENT $175,000 12 BED RETIREMENT HOMES IN HAMILTON$1.12 MILLION RETIREMENT HOME BRAMPTON Downpayment of $500K required CALL FOR DETAILS INDUSTRIAL BUILDING IN OAKVILLE 19700 sqft on 1 acres CALL FOR DETAILS INDUSTRIAL BUILDING IN BRAMPTON 25,000 sqft on 2 acres CALL FOR DETAILS RETAIL PLAZAS PLUS RESIDENTIAL APTS IN HAMILTON$1.6 MILLION 10 UNITS APARTMENT BUILDING IN HAMILTON$2.35 MILLION 40 UNITS APARTMENT BUILDING IN HAMILTONCALL FOR DETAILS INDIAN/PAKISTANI RESTAURANT MISSISSAUGA Sales $3.1 Million CALL FOR DETAILS MEXICO BURRITO FRANCHISE IN BRAMPTON$420,000 2 INDIAN RESTAURANTS IN BRAMPTON 1,500 - 3,000 SF CALL FOR DETAILS RESTAURANT CHAIN MEXICAN BURRITO CONCEPT 5 locations GTA CALL FOR DETAILS 12 ACRES LAND MILTON Near Residential Development CALL FOR DETAILS 12 ACRES LAND MILTON Near Residential Development CALL FOR DETAILS 30 ACRES CALEDON Near subdivision of high end homes FROM $1.7 MILLION 12 ACRES INDUSTRIAL LAND Hamilton FROM $1.7 MILLION INDUSTRIAL LAND HALTON 47 Acres CALL FOR DETAILS GOLD REALTY INC. BROKERAGE

MARCH 2024 - MAY 2024 | Say you saw it on BizSold! PAGE 25 Superstars Real Estate Canada - Ontario - Toronto Anil Shahani 416-740-4000 647-293-4688 realtoranil@yahoo.ca SALES REPRESENTATIVE DIR: OFF:
Over $1.8 Million Sales
2,200 Sq Ft Store • $100,000 in Lotto Commission • Two Entrances • Can Be Converted to Vape Store • $3,000/Mo additional Income • Excellent Sales • Prime Location in a Busy Plaza • Ample Parking • Sales Approx $39,000/Mo • Rent Only $1,750 Gross Incl TMI • Approx Net $11,000K/Mo CONVENIENCE STORE IN MISSISSAUGA VAPE STORE FOR SALE IN TORONTO $579,000 $225,000 + STOCK • Complety Updated Equipment and Brand New Look • 1,625 SF Space with Great Seating and Parking Space • In Big Plaza Anchored By Mandarine & Canadian Tire SHWARMA, CAKE & GELATO STORE IN ST. CATHERINES $139,000 • Newly Constructed Gas Station • High Traffic Area • Excellent Gas Volume • Great Convenience Store Revenue ESSO GAS STATION WITH PROPERTY IN NIAGARA REGION $2,600,000 • Amazingly Low Rent • Sales $10,000/Wk in Winter & $14K/Wk in Summer • Cigarette Sales Only 25% • ATM comm. $700/Mo + Bitoin $300/M + $400 Rebates • Amazingly Low Rent • Sales $10,000/Wk in Winter & $14K/Wk in Summer • Cigarette Sales Only 25% • ATM comm. $700/Mo + Bitoin $300/M + $400 Rebates • Good Reviews from Clients • Regular Sales at $125,000/Yr • Low Rent $2,500, No Franchise Fee • Excellent Equipment • Amazing Frontage • Potential to add Services • Established 20 Yrs, Same Ownership • Excellent Sales & Profit Margins • $16K/Wk Sales + Lotto Commission $4,000/Mo • (As Per) Seller Nets: $250,000 • $50,000 Sales of Flowers • Previously a Cinema • Store Sales $12,000/Wk (50/50 Cigs/Grocery) • High Margin Store • Brand New 5+5 Year Lease • Rent Only $4,900 + HST • Sales per week is 10000-11000 with 70/30 proportion • Lotto commission is $ 4000/M • ATM Comm. $800/mo and extra rebates and Nevada Income • Establisned for 20 Yrs • Same Owner and same Location. • Excellent Sales with lots of Profit • Sales $12,000 per week & Lotto Commission is $2,800/Mo. • Great Exposure with ample Parking • 2700 Sq st like a Mini Supermarket • Store sales 25000-28000 per week with only 40% cigarettes • Lots of Grocery sales with high margins of 35-40 % average • Lotto commission 2500/ month • Store Stands on Main Rd Of Drummond St. Great Exposure. • Great Community + Car Agencies And Used Car Businesses • Cigarette Margins At 15% As Per The Owner Great Margins • LOCATION IS THE KEY This Store has prenty to Offer. • Store sells lots of Grocery and have very regular clientale. • Store Sales $ 600,000 a Year and Lotto commision is $ 50,000 per year • Gas volume 5 million inside sales 1.2 million (Cigrette Sales approx 50% rest all HIGH Margin Sales) • Car wash 90 k & $ 90K Cross Lease • Gross INCOME 780,000 Income PLUS Rent Income $ 40,000 k • Store Sales $800K/Yr + 30,000 Lotto Yearly Commission • Large 4 Bdrm House • Adjacent Store can be used for Additional Business
Over 1.3M Sales in 2021 • Selling 50/50 Cigs/Grocery • $65,000 Lotto Commission & $15,000 ATM Covers Rent • New Long Lease • 6 Cents Profit Gas Sales PIONEER GAS STATION FOR SALE HASTY MARKET FOR SALE IN NIAGARA ITALIAN PIZZERIA SANDWICH RESTAURANT FOR SALE IN NIAGARA CONVENIENCE STORE WITH APARTMENT IN NIAGARA REGION CONVENIENCE STORE FOR SALE IN NIAGARA REGION CONVENIENCE STORE FOR SALE IN TORONTO CONVENIENCE STORE WITH PROPERTY NEAR IN NIAGARA REGION CONVENIENCE STORE FOR SALE IN KITCHENER CONVENIENCE STORE AND LOTTO BUSINESS FOR SALE IN NIAGARA FALLS CONVENIENCE STORE WITH THREE APARTMENTS FOR SALE PETRO CANADA GAS STATION + STORE AND CAR WASH & HOUSE NEAR LONDON CONVENIENCE STORE WITH 4 BEDROOM HOUSE FOR SALE IN NIAGARA REGION MOBILE GAS STATION WITH BIG BEE CONVENIENCE IN NIAGARA FALLS • Located near Welland Thorold Region • Surrounded by Development Land • Many Other Lots In The Area • Area Is Booming In Growth DEVELOPMENT LAND FOR SALE NEAR WELLAND $8,999,999 $3,900,000 $169,000 $99,900 $1,299,900 $155,000 $199,000 $799,000 $599,000 • Recently Renovated • Sales Over $1.2 Million • Rent Only $7,000/Mo • Amazing Party Hall (Included with the Rent) • Low Cost & Low Overhead • Don’t Miss this Opportunity • No Rent, No Franchise Fee,No Lease • Same Owner for the last 18 Years • Excellent Vape Opportunity • Sales at $450,000/Year + Lotto $50,000/Yr • Ample Parking • Can Add Flowers in the Summer Seasons BRANDED BAR AND GRILL FOR SALE IN NIAGARA REGION CONVENIENCE STORE WITH PROPERTY IN NIAGARA REGION $499,000 $449,000 $149,000 $1,200,000 • FULLY RENOVATED • 2 Bdrms 2 numbers rent coming $ 1200 each • 2 x 1 Bdrm apts rented at $ 750 & $ 850 each • Owner expenses: 800-850/month 4 PLEX BLDG WITH NON CONFORMING ZONE FOR 4 APARTMENTS $989,000 • Store Sales 550,000/Year • Lotto Commission $ 6500 Per Month • Large House with Full Basement finished next to the store Amazing Proeprty CONVENIENCE STORE WITH PROPERTY FOR SALE IN NIAGARA REGION $1,800,000 $4,990,000 $949,000 $629,000 • Total Capacity 60 Seats inside + 50 Seat New Patio • 2 Business in One • Great Parking Space • Fully Equipped Kitchen RESTAURANT WITH LLBO + C-STORE WITH LOTTO & TOBACCO LICENCE $349,000
For Advertising Information Please Call 1-877-337-1188 or visit www.BizSold.com | VOLUME 24 ISSUE 1 PAGE 26
mohammads@royallepage.ca M.Sc. Hons. • BROKER OF RECORD Sales Representative Irshad Khalid Mohammad Shahzad DIR: 647-274-6633 DIR: 416-856-2876 OFF: 416-630-2555 RETAIL, INVESTMENTS & LEASING $10 M Fully leased. Monthly net income $90K. Lot 2.25 acres with future vertical condo development. 38,500 SF COMMERCIAL RETAIL BUILDING PICKERING/AJAX DOWNSVIEW REALTY Call for information Call for information Call for information Franchise opportunities available in Ontario and other provinces in Canada Franchise opportunities available in Ontario and other provinces in Canada Call for information 2.6M CHURCH’S CHICKEN BUSINESS & STANDALONE PROPERTY WITH DRIV-THRU BOSTON PIZZA 20 Mins East of Toronto Good Volume, Avg Rent, Long Lease $ CALL FOR DETAILS DAIRY QUEEN BUSINESS & STANDALONE PROPERTY WITH DRIVE THRU IN LONDON $3.8 M BOARDWALK BURGERS, FRIES AND SHAKES BUILDING & BUSINESS FOR SALE IN BRAMPTON EAST 14,700 SF industrial building plus 2,600 sq feet mezzanine. 26 feet clear height. Can be converted into 9 Condo units. Current use Decorative Glass door inserts manufacturing. Business Annual sales : $4.5 Million GTA WEST Very Busy Plaza Low Rent Good Sales Great Future Potential + INVENTORY $14,500,000 $625,000 HOSPITALITY RETAIL DRIVE-THRU CAMBRIDGE, ON Great cap, AAA Franchise tenant fully renovated and 10+5+5 lease Asking $1.65 Million
ik@royallepage.ca
MARCH 2024 - MAY 2024 | Say you saw it on BizSold! PAGE 27 DOWNSVIEW REALTY OFF: 416-630-2555 kt@royallepage.ca Lavleen@royallepage.ca BROKER Sales Representative Kamal Thind Lavleen Sidhu DIR: 647.740.7143 DIR: 647.971.8372 NOT ACTUAL LOCATION PLAZA / GAS STATION $8.5 M WOODSTOCK ON $9.75 M $295,000 BANQUET HALL IN MISSISAUGA APPROX 13,000SQFT HAIR SALON AND SPA IN BRAMPTON WEST 10 yrs in business Well reputed business with good history Located close to main highway Good revenue PLAZA IN GUELPH With 7 commercial units and 7 residential units (Live & Work Mixed use) Fully renovated, Gross income $425K year Fully leased ASKING $6.55 MILLION $2.8 M BANQUET HALL, FAMILY RESTAURANT & SPORTS BAR + 3 APARTMENTS Located in Hamilton, on 3.35 Acre Lot. Situated in the City’s Future Development Zone

For Advertising Information Please Call 1-877-337-1188 or visit www.BizSold.com | VOLUME 24 ISSUE 1 PAGE 28
ON THE CORNER OF HWY 11 AND HWY 118 OPPOSITE MUSKOKA AIRPORT 10.09 ACRE COMMERCIAL LAND FOR SALE
WITH THE PERMITTED USE OF TRUCK STOP, CARDLOCK, GAS STATION, CONVENIENCE STORE, AUTO REPAIR SHOP,
A SINGLE DWELLING HOME, AND OTHERS. VTB IS AVAILABLE TO A QUALIFIED BUYER. • ON A VERY BUSY STREET, 45 MINUTES FROM BRAMPTON • BRAND NEW 4 PUMPS,10 NOZZLES, AND CANOPY • BRAND NEW DOUBLEWALL FIBRE GLASS TANKS • DRIVE-THROUGH • PROJECTED GAS VOLUME 5 MILLION + • WILL FICILATE WITH FINANCING
ESSO GAS STATION IN PETERBOROUGH
3 BEDROOM APARTMENT UP STAIR 4 PUMPS WITH 10 NOZZLES • DOUBLE WALL FIBREGLASS TANKS WITH 10 NOZZLES GAS VOLUME 2.5 MILLION ON CONSIGNMENTS, NO CREDIT CARD FEE CONVENIENCE STORE SALE $943,000
MINUTES W OF BRAMPTON ON HWY 401 W EXIT 299 AUTO STATION 4 PUMPS WITH 10 NOZZLES • CARDLOCK 4 PUMPS TOTAL SALES OF • 11 MILLION LITERS • LCBO SALE $1.5 MILLION 3 MONTHS OLD WITH 5+5 YRS • CONVENIENCE STORE RECENTLY RENOVATED • SALE $1.2 M • 93 ROOMS SITE PLAN APPROVED 4 STORIES • 4.8 ACRES OF LAND • OPTION OF CONVENTION CENTRE • LARGE RETAIL PLAZA TO BE BUILT ADJACENT TO THE HOTEL • 6 COIN CARWASH • WE PROVIDE FAST LOANS FOR ANY TYPE OF REAL ESTATE, RESIDENTIAL/COMMERCIAL/INDUSTRIAL LAND • RATES STARTING FROM 8% • IF YOU NEED MONEY FAST WE PROVIDE LOANS ON YOUR EQUITY! NO INCOME IS REQUIRED! • 6 BAYS • 8 BAY COIN CARWASH + TUNNEL
1 ACRE HIGHRISE CONDO PROJECT OFFICIAL PLAN 207 UNITS • CLOSE TO QEW • CLOSE TO GO TRAIN • PRE-CONSULTATION HAS BEEN DONE AND IS READY FOR SUBMISSION FOR SITE PLAN APPROVAL. • ON A BUSY STREET WITH PUBLIC TRANSIT • 2 ACRES OF PARCEL WITH 1 ACRE ZONED FOR PUBLIC STORAGE 100 PUBLIC STORAGE • BRAND NEW GAS STATION WITH NEW TANKS, PUMPS, AND CANOPY • GAS VOLUME 3.5 MILLION • CONVENIENCE STOT\RE SALE $900,000 • RENTAL GARAGE $48,000 • VTB OR JOINT VENTURE AVAILABLE COMMERCIAL LAND FOR GAS STATION, CARDLOCK, TRUCK STOP, TRUCK REPAIR FOR SALE IN BRACEBRIDGE ESSO FULLY REDEVELOP GAS STATION FOR SALE ACCESS FROM LENDERS ON BRANDED GAS STATIONS FOR POWER OF SALE ESSO WITH CONVENIENCE STORE + 3 BEDROOM APARTMENT FOR SALE PIONEER GAS STATION WITH C.STORE 1.5 HOUR WEST OF GTA 2 YEARS OLD ESSO GAS STATION WITH RENTAL INCOME FOR SALE IN GTA ULTRAMAR GAS STATION FOR SALE + LCBO + CARD LOCK 4.8 ACRES SITE PLAN APPROVED HOLIDAY INN EXPRESS LAND FOR SALE 6 COIN CARWASH SALES WITH PROPERTY 1.5 HRS FROM GTA SITE PLAN APPROVED 4 STORIES 72 RESIDENTIAL RENTAL UNITS + 6 RETAILS ON 2 ACRES LAND 60% VTB AVAILABLE 6 BAY COIN CARWASH FOR SALE OF BUSINESS EAST OF GTA SEF SERVE 8 BAY COIN AND TUNNEL CARWASH 1.5 HRS WEST OF GTA 17 STORIES HIGH RISE 207 RENTAL UNITS ZONED LAND FOR SALE IN HAMILTON 2 ACRES GAS STATION WITH RENTAL INCOME FOR SALE 15 ACRES INDSUTRIAL LAND WITH SITE PLAN APPROVED 30 MINS WEST OF 401 CORRIDOR $2,000,000 $2,900,000 CALL FOR DETAILS $2,125,000 $3,900,000 $5,500,000 CALL FOR DETAILS $3,499,000 $2,600,000 $5,050,000 $499,000 $3,900,000 CALL FOR DETAILS CALL FOR DETAILS CALL FOR DETAILS SOLD SOLD PRINCIPLES ONLY Premier Group Realty Inc. Commercial Real Estate & Land Development OFF:416.879.5700 | FAX: 905.604.2572 MANJIT BANWAIT PRESIDENT & BROKER OF RECORD manjit@pgrealty.ca www.premiergrouprealty.ca DIR: 416.283.1600 HARRY SINGH VICE PRESIDENT, GAS STATION DIVISION SALES REPRESENTATIVE harrysingh.realtor@gmail.com harry@pgrealty.ca DIR: 519.841.7634 DIR: 416.239.8882 PLEASE CALL OR EMAIL FOR MORE NEW LISTINGS OF GAS STATIONS WHILE IN PRINTING ALL INFORMATION HAS BEEN PROVIDED BY THE VENDOR AND BUYER TO VERIFY ALL FIGURES.

RENOVATED INDUSTRIAL UNIT FOR SALE

• Main floor: Modern entrance, reception, showroom, office & washroom (880 sq ft).

• Bright & clean warehouse (4120 sq ft) with skylights, drive-in door, 20 ft clear & 200 AMP service.

• Second floor: Enclosed mezzanine (1600 sq ft) with 3 offices, lunch room & washroom, plus 850 sq ft of warehouse space.

6 Parking spots. Many permitted uses. A+++!

ASKING: $2,888,000 Close to major streets, highways & Pearson airport.

• Turn-Key jewelry store at peak sales for sale in the heart of Bolton

• 28 years in operation

• Owner is retiring Amazing visibility, oversized signage and corner location on a main street

• Offered for sale with or without inventory- price to be negotiated

• Showroom, workshop, casting room, office, lunch room, bathroom and more!

ASKING: $175,000

ITALIAN RESTAURANT FOR SALE

• Extremely busy and profitable! Owner retiring after 14 Years in business!

• Open 7 days a week. Great for private parties and corporate functions.

• LLBO licensed for 135 seats and 25 on the patio! 5,000 sq ft and 3,000 sq ft in the basement. 13 staff with 3 full time.

• Beautiful décor. Very Reasonable lease terms. All chattels included!

ASKING: $699,000

& includes a store, restaurant, propane and DEF dispenser.

• Recently remediated.

• Brand-new lines and pumps put in 2 years ago.

• Don’t miss this opportunity!

• License To Start Your Own School Anywhere In Ontario, Except Mississauga.

• The Following Is Included: New License - Grades 1 To 12,

• 10 Outlines, 10 Courses Curriculum, Online Teaching & Learning Platform.

• Optional Additional 40 Courses And Inspection for a Fee.

• Training Provided!

ASKING: $85,000

BANQUET HALL + RESTAURANT

• Recently Renovated, 6,650 sq ft

• Gorgeous and Extremely Profitable Restaurant/ Banquet Hall

• 225 capacity (LLBO licensed) in Concord.

• All chattels included: stage, dance floor, lighting & music equipment

• Two fully equipped kitchens, and much more!!!

ASKING: $1,200,000

MARCH 2024 - MAY 2024 | Say you saw it on BizSold! PAGE 29 Makhnin BROKER W suttongroupadmiral.com E vlad.verygoodrealtor@gmail.com victoria.verygoodrealtor@gmail.com Victoria Sorokin REALTOR® Vlad Vlad: 416.893.8007 • Victoria: 647.280.0007 E: vlad.verygoodrealtor@gmail.com • victoria.verygoodrealtor@gmail.com OFF: 416.739.7200 SUTTONGROUPADMIRAL.COM WELL ESTABLISHED DELI STORE IN INNISFIL ASKING: $ 129,000 • Highly Prosperous And Profitable • Located In A Bustling Plaza With An Exceptional Clientele And Beer Store Anchor Store • The Business Generates A Stable And Lucrative Income, And The Rent, Which Includes Tmi And Tax, Is Remarkably Low • The Store Specializes In European And Homemade Cuisine And Operates Seven Days A Week • Training Will Also Be Available To The New Owner. Great Opportunity To Start Your Own Business! • An On-Site Bakery That Offers Freshly-Baked Bread Every Morning Alina Spektor info@alinaspektor.com Sales Representative 647.864.2700Direct: 905.499.8800 Office: ETOBICOKE MISSISSAUGA ESSO GAS STATION WITH RESTAURANT ASKING: $10,500,000
Incredible opportunity to buy a busy and profitable corner Esso gas station.
Located in Etobicoke
BOLTON VAUGHAN JEWELRY BUSINESS FOR SALE SCHOOL LICENSE IN ONTARIO FOR SALE
ETOBICOKE VAUGHAN
For Advertising Information Please Call 1-877-337-1188 or visit www.BizSold.com | VOLUME 24 ISSUE 1 PAGE 30 Sell Your Business in 90 Days!!! Guarantee • List Your Business with Parmajit Deol!! Call Today • We Specializing in Hotels, Motels, Gas Station, Land, Plazas & more LEADING EDGE REALTY INC. BROKERAGE Paramjit DeolBROKER www.TEAMDEOL .com pdeol3@yahoo.ca Dir: 416-993-7378 Off: 905-405-8484 $25,000 $89,000 $99,000 Turn Key operation, Well established Fast food/take out at the same location for 20 years Very low rent of $3400 per month, long term lease available • Fantastic location with high anchor tenants such as food basics, Tim Horton’s, and many more. • Surrounded by residential and industrial area and steps away from 3 major schools, do not miss with opportunity Turn key Operation, well established dry cleaning business • 20 Years In Successful Business Seller Is Retiring • Located In A very Busy Plaza With Lots Of Parking Surrounded By major anchor tenants Many Commercial And Residential Properties surrounding • Easy To Run Avg Dry Clean Sales Is $12K/Mo • Generate Net Income Of $6,500/Mo • Rent $1,700/Mo Incl. Tmi & Hst. Lease 2 Yrs + 5Yrs Optional Period Well established restaurant sale of business • Situated in 2,700 sqft, serving some of the finest dishes in the area, with great clientele • Very low rent of only $1,500 per month, Sales are $9,500 per month as per seller • Great potential, many uses permitted • Located in a very busy neighborhood with high traffic flow daily, surrounded by tons of residential, commercial buildings, mins walk from the lake view, do not miss this opportunity FAST TOOD TAKEOUT/DELIVERY - BRAMPTON DRY CLEANING/LAUNDRY - TORONTO TURNKEY RESTAURANT - TORONTO FAST FOOD TAKE OUT & DELIVERY DRY CLEANER & LAUNDRY TURNKEY RESTAURANT $149,000 $399,000 $599,000 $799,000 $1,395,000 $1,499,000 $399,000 $425,000 $199,000 $349,000 • Location on a very busy street with tons of daily traffic, • Situated in 3000sqft with 5 hair stations and private rooms Rent is $6284 per month with sales of $22,000 per month as per seller • Tons of services are offered such as hair cutting, trimming, colouring, waxing, threading, and tons more to list • Long term lease • Great clientele Prime location Turn key operation • Many years in the same location, • Very well know and popular bar & grill in the neighbourhood • Live sports games, live bands, great music venues every weekend Seating of 206 people Fully upgraded • Top of the line equipment, situated in 3600 sqft Long term lease • sales are 70k/Mo as per seller • Very low rent, great exposure, great clientele, tons of daily foot traffic • Welcome to Mississauga Square Residences located in central Mississauga • Fabulous suite offers a spacious open concept Living/dinning are that walks out to a open balcony • Gleaming wood floors throughout, full size kitchen with granite counter tops • Two great size bedrooms with 2 full bathrooms • In-suite laundry, 1 Parking & 1 Locker, steps away from SQ1, schools, parks, public transit, and upcoming LRT • Never lived in, this home offers a very spacious layout on the main floor • Great family size kitchen with huge breakfast area, oversized great room • Second level offer 4 bedrooms two full baths, master bedroom has a full ensuite bathroom and walk in closet • Many upgrades from builder • Double door entry, double car garage, great finishes • Steps To York University, Finch West Lrt, • Well Kept Property • Execellent Chance For Investors And First Time Home Buyers • Tribute Built Beauty • Finished Basement • You Will Not Be Disappointed • Fully Operational Banquest Hall • Well-Established Banquet Hall Has Been In Business For Over 20 Years • Seating Capacity Of 650 Seats • Monthly Sales Are Over $100,000 And Bookings Throughtout The The Week • Very Low Rent, Long Term Leaase • Vendor Has Spent Hundred Thousand Of Dollars On Leashold Improvement • Full Function Kitchen, Huge Parking Very Well Established Clientele Base And Very Steady Profitability Turn Key Operation • Well Established Pizzeria In Toronto, • Many Years In Business, Located On Busy Street Of Lakeshore • Seats 30 • Great Reviews On Google Very Easy To Operate Surrounded By Homes, Condos, Businesses, And Schools • Prime Location With Great Exposure Very Low Rent Of $4850 • Excellent Sales Of $13/wk • Great Net Profits Long 4 + 5 Years Lease Turn key operation, franchise pizzeria • Well established, many years in business at the same location Great reviews online • One of the communities favorite pizza in the neighbourhood Sales are $85K/Mo as per seller Very low rent for this busy location of only $6,000 per month • Long Term Lease of 8+5 years Sitting area of 50 people • Completely renovated location • LLBO licensed • Turn Key Operation, Be Your Own Boss Today. • Well Established Franchise Pizzeria Business For Sale In Windsor Great Profits Fantastic Clientele • One Of The Best Pizzeria In Town • Sales Are $8,000 Per Week, With A Very Low Rent Of $2750 • Long Term Lease Of 5+5 Years, • Located On A Very Busy Street With Lots Of Daily Traffic Great Exposure • Great Potential. • Turn Key operation, Located in a very high demand area of fletchers creek south • Set up professionally with 11 hair stations, 2 wash stations Very low rent of $3,800 per month, • 15+ yrs in business at same location, • Close to Sheridan college, all shopping areas, public transit, great exposure with high traffic flow daily • Tons of parking • Thousands spent on upgrades and newer equipment which is all top of the line BEAUTY SALON - TORONTO BAR AND GRILL - TORONTO 2 BDRM CONDO - MISSISSAUGA DETACHED 2 STOREY HOME - THORNHOLD DETACHED 3 STOREY HOME - THORNHOLD DETACHED 3 STOREY HOME - THORNHOLD PIZZERIA - TORONTO PIZZERIA - TORONTO PIZZERIA - WINDSOR HAIR SALON - BRAMPTON BEAUTY SALON DETACHED 3 STOREY HOME PIZZERIA HAIR SALON
MARCH 2024 - MAY 2024 | Say you saw it on BizSold! PAGE 31 EXCLUSIVE COMMERCIAL PROPERTIES, PLAZAS, & DEVELOPMENT PROJECTS FOR SALE PRAVISHA NAGARETNAM Sales Representative Direct: 416-727-7686 Office: 416-987-8000 Email: info@teampravisha.com EXCLUSIVE ATTENDED COIN LAUNDROMAT IN CRESCENT TOWN TORONTO BUBBLE TEA FRANCHISE FOR SALE IN SHERWAY GARDENS HAIR SALON AND SPA IN VAUGHAN EXCLUSIVE RES./COMM. BUILDINGS FOR SALE ITALIAN KITCHEN BUSINESS $350,000 $89,000 LAND WITH PERMIT TO BUILD TWO SEMI-DETACHED HOMES IN CENTRAL OSHAWA VACANT LAND WITH PERMIT TO BUILD DETACHED HOME IN AGINCOURT TORONTO EXCLUSIVE PLAZAS FOR SALE IN THE GTA CALL FOR DETAILS CALL FOR DETAILS PRINCIPALS ONLY $1,520,000 CONTACT ME FOR SIMILAR/EXCLUSIVE LISTINGS $300,000 $3,500,000 DRY CLEANING DEPOT FRANCHISE EXCLUSIVE GAS STATION IN CHATHAM EXCLUSIVE ITALIAN TILE BUSINESS $3,000,000 $99,000 $2,975,000 • Full Service Dry Clean Depot • With Alteration Services • On Busy High Density Foot Traffic • Established for Over 40 Years • Prime Location on Hwy 40 & 78 • Newly Built 3 Pumps, 6 Nozzles • 105,000L Gas -High Vol. • Room to Add Other Businesses • Prime Location.
Well-Known & Popular Gong Cha - Bubble Tea Franchise Business For Sale. Offers A Unique Gong Cha Taste. • Located in the heart of the Islington-City Center neighbourhood. • The Store Is In Prestigious Sherway Garden Mall, Training Will Be Provided By The Franchisor • Establisnd Business • Luxurious & Spacious • Turnkey Operation • High Traffic Area with Great Exposure • 1.5Hours East from Toronto • 3 Buildings • 4 Residential • 1 Commercial • 5% Cap Rate • Land at the back of the property can Potentially be Developed SOLD

For Advertising Information Please Call 1-877-337-1188 or visit www.BizSold.com | VOLUME 24 ISSUE 1 PAGE 32 *Please Contact Us Today for all your Commercial Real Estate needs* FREE MARKET EVALUATION OF YOUR PROPERTY)* ESSO GAS STATION FOR SALE IN GTA 5 STOREY COMMERCIAL PROPERTY FOR SALE - OSHAWA INDUSTRIAL BUILDING FOR SALE W/ 4 TRUCK LEVEL DOORS CORNER 1 ACRE LOT W/ SITE PLAN APPROVED CALL FOR DETAILS • Gas Station + Rental Income BUSINESS FOR SALE - GEORGETOWN CORNER COMMERCIAL PROPERTY OF ST ANDREWS & GILHOLM INDUSTRIAL CONDO FOR SALE IN MISSISSAUGA SALE OF BUSINESS - MISSISSAUGA RETAIL PLAZA FOR SALE - NIAGARA ON THE LAKE OFFICE UNIT FOR SALE - MISSISSAUGA • Excellent Opportunity To Be Your Boss, Well Established Turnkey Retail Furniture Running Since 1979. • Store Located In A Very Busy Area, High Traffic Showroom. • CALL FOR MORE DETAILS • Excellent Opportunity For Investor, Corner Commercial Property With Main Floor Retail Unit and 2 Bedroom Apartment Above, The Main Floor Unit Is Currently Rented To A Bakery! • 2nd Floor Unit Is Vacant! Highly Visible, High-Traffic Retail Location Steps From Hamilton Family Theatre. • The Current Zoning Is C2 With Variety Of Different Uses Available., High Density Neighbourhood! ( Business Is Not For Sale) • Anchor Tenants - Petro Pass, Tim Hortons, Wendy’s, Pizza Pizza
Site Area 4.5 Acres - Fully Leased
VTB Available
Investment Opportunity, Professionally Fully Finished Unit With 3 Separate Self Contained Units.
Each Unit With Reception & Small Kitchenette!
Located In A Very Busy Plaza, close to Airport & Hwy 427 & 407
Lots Of Parking And Foot Traffic.
Excellent Maximum Visibility. • Excellent Opportunity To Own A 20 Ft Clear Height Prestige Industrial Unit Close To The Person Airport • Recently Renovated, Approx. 5,200 Main Floor Combined With Warehouse Area • Main Flr Large Open Show Room With One Office and Washroom, Large Drive In-Door, Separate Stairs for 2nd Floor • Approx. 1,524 Covered Professionally Finished Mezzanine Offers 3 Offices, Lunch Room And Washroom • Total 6 Parking spots, 3 At Front & 3 At The Back Of Unit. • Attention Developers & Investors! Excellent Opportunity To Purchase This Corner One Acre Lot With Site Plan Approved For Approx 10,000 sq.ft of Retail plaza With Multiple Different Uses Available Under Commercial Zoning, • Located Next to New Subdivision In The Town Of Angus Only 15 Minutes Drive from Barrie, • Very High Demand For Convenience Store, Dental, Optical and Day Care, Family Doctor, Pharmacy and Many More Businesses,The Town Is Growing Rapidly. • Excellent Opportunity To Own A Luxurious Beauty Salon and Med Spa • Located In A Very Busy & Prestige Plaza • The Business Offers: Skin Care, Hair Services, Laser, Makeup & Lashes, Private Treatment Rooms, Private Bathroom, Spacious Lobby & Reception Area. • Top Dollars Spent On Quality High End Luxury Finishes. Turn Key Operation! $249,900 CALL FOR DETAILS CALL FOR DETAILS $369,900 RE/MAX GOLD COMMERCIAL TEAM 905.456.1010 INDEPENDENTLY OWNED & OPERATED Jaz Bains Broker Dir: 416.786.4600 info@jazbains.com Gordy Khuman Broker of Record Dir: 905.456.1010 CALL FOR MORE DETAILS CALL FOR MORE DETAILS • Excellent Investment Opportunity in Downtown Oshawa • 24,000 sq. ft. of a 5-storey commercial property with ground level retail and above level offices • Front Lobby Elevators • Excellent Opportunity For End Users and Investors, • Fully Renovated Freestanding Building With State of The Art Glass Offices • 18 Ft Clear Wearhouse Height, E2 Zoning, • Situated on Approx. 1.17 acres in Desirable Area Of Mississauga • Close to All Highways 410, 401 and 407, 4 truck level doors (with levelers) and 1 large drive in door. CALL FOR DETAILS $1,149,900 Bramalea/Derry Asking $999,900

Jaz Bains

Broker Dir: 416.786.4600

info@jazbains.com

905.456.1010

INDEPENDENTLY OWNED & OPERATED

of Record Dir: 905.456.1010

FLOOR

• Brand New Retail Plaza Located , Approx. 673 Sq.Ft

• 3 Offices & Kitchen With Open Reception Area

• Great For Small Professional Office Use, High Density

• BRAND NEW 100% COMMERCIAL RETAIL UNIT Approx. 1,673 Sq Ft

• HUGE EXPOSURE + HIGH TRAFFIC ON MAYFIELD RD

• EXCELLENT OPPORTUNITY TO START NEW BUSINESS

• EXCELLENT EXPOSURE IN A HIGH DENSITY NEIGHBOURHOOD

• SUITABLE FOR A VARIETY OF USES

• Excellent Opportunity To Lease 2nd Floor Units - BRAMPTON

• Brand New Retail Plaza Located

• Approx 1,958 Sq.Ft of 2 Combined Units, or you can choose one unit as well

• Ideal For Professional Offices, travel agency, lawyers office, mortgage office, Dispatch Offices, Accounting And Other Office Uses.

• Excellent Opportunity To Start A New Business Or Relocate.

• High demanding location in a very busy neghbourhood

• Ample Parking Available!

• Excellent Opportunity To Lease 2nd Floor Unit In A Brand New Retail Plaza -BRAMPTON

• Approx. 844 Sq.Ft, Facing Inside the plaza Ideal For Professional Office

• Various uses available: Dispatch Office, Accounting And Other Office Uses. Excellent Opportunity To Start New Business Or Relocate.

• Professionally Finished Corner Office Unit!

• Move In Ready, Excellent Opportunity To Lease A 2nd Floor Unit In A Brand New Retail Plaza

• Approx. 1,946 Sq.Ft Unit Facing Inside The Plaza Dr,

• 5 Large Size Offices And Open Kitchen And Large Reception Area,

• Great For Professional Office Use. Excellent Opportunity To Start New Business Or Relocate

• High Density Neighborhood!

MARCH 2024 - MAY 2024 | Say you saw it on BizSold! PAGE 33 RE/MAX GOLD COMMERCIAL TEAM COMMERCIAL RETAIL UNITS FOR LEASE Asking: $8.499,900 *Please Contact Us Today for all your Commercial Real Estate needs* FREE MARKET EVALUATION OF YOUR PROPERTY)* RETAIL PLAZA FOR LEASE 2ND FLOOR UNIT IN BRAND NEW RETAIL PLAZA -BRAMPTON OFFICE UNIT FOR LEASE BRAMPTON OFFICE UNIT FOR LEASE - MISSISSAUGA AVAILABILITY FOR GROCERY STORE BRAMPTON EAST UNIT FOR SALE BRAMPTON EAST COMMERCIAL UNIT FOR SALE BRAMPTON EAST COMMERCIAL UNIT FOR SALE EGLINTON AVE & NINTH LINE CALL FOR MORE DETAILS CALL FOR MORE DETAILS CALL FOR MORE DETAILS CALL FOR MORE DETAILS • APPROX 14, 000 SQFT • BRAND NEW PLAZA • DELIVERY END OF OCT 2024 • Excellent opportunity for a LARGE DOLLAR STORE • High Traffic Neighbourhood • Excellent Exposure on Main Intersection • APPROX 1350 SQFT • BRAND NEW PLAZA - VARIOUS USES AVAILABLE
Professionally Finished Office Unit ON 2ND
...........Neighborhood
CALL FOR DETAILS CALL FOR DETAILS CALL FOR DETAILS CALL FOR DETAILS
Gordy Khuman Broker
For Advertising Information Please Call 1-877-337-1188 or visit www.BizSold.com | VOLUME 24 ISSUE 1 PAGE 34 • 5 Acres Development Halton Hills • 97.67 Development Land Milton. • 101 Acres In Caledon. • 98.94 Acres In Caledon. • 23.56 Acres In Caledon. • 21.88 Acres In Caledon. 905.456.1010 INDEPENDENTLY OWNED & OPERATED 2.5 ACRES LOT AVAILABLE WEST BRAMPTON Submitted plan for Senior Citizen Home Available in Brampton COMMERCIAL/RETAIL UNITS AVAILABLE FOR SALE DEVELOPMENT LAND AVAILABLE Call Me For Great Potential Investments For National & International Investors. We Can Help You In Land Development, From “Scratch To Sky” COMMERCIAL RETAIL LAND FOR SALE (MISSISSAUGA) • Site Plan Approved • Ready to built • Contact for details PLAZA AVAILABLE IN TORONTO GREAT LOCATED PLAZAS $7.5M, $38M & $11.2M 11 ACRES DEVELOPMENT LAND AVAILABLE TO BUILD, INDUSTRIAL/COMMERCIAL RETAIL STRIP AND MANY OTHER OPPORTUNITIES. SERIOUS BUYERS ONLY (VERY REASONABLE CAP RATE) 7600 sq ft Building Serious Inquiries Only • Less than 10 Years Old. AAA National Tenants. • Great Location. • In Front Of Prestigious Mall. • Lifetime Opportunity. • 2 Dewside Dr unit 202 & 204 • Established Commercial Unit On Prime Location • Close To The Hospital And Major Plaza. • Quality Constructed Offices, Reception, Kitchen And Washrooms • Owner Occupying Both The Units As One At The Moment 4.5 ACRES PAVED TRUCK PARKING 3 ACRES, TRUCK PARKING AVAILABLE COMMERCIAL RETAIL UNITS FOR SALE IN MISSISSAUGA & BRAMPTON. CFD GAS STATIONS FOR SALE IN AND AROUND GTA COMMERCIAL RETAIL UNITS FOR SALEIN MISSISSAUGA & BRAMPTON. CFD 1.7 ACRES, 10,000 SQ FT BUILDING IN SOUGHT AFTER AREA 10 ACRES OF DEVELOPMENT LAND AVAILABLE IN BOLTON. CFD Zoned Land for Low, Medium or High rise Development. Located in a growing town in East GTA. Sarbjit Sra Broker ACP, ABR, SRS, SRES Dir: 416.999.9100 sarbsra@gmail.com BANQUET HALL FOR SALE IN GTA MEDICAL BUILDING AVAILABLE • $10-20 Million • Good Location CALL FOR MORE DETAILS SHELL GAS STATION RESIDENTIAL DEVELOPMENT LAND OFFICE AVAILABLE - ETOBICOKE ESSO GAS STATION + CAR WASH FOR SALE Baljinder Sra Broker Dir: 416.419.9697 COMMERCIAL, INDUSTRIAL, INVESTMENT www.baljindersra.com info@baljndersra.ca $1 M - $30 M ASKING: $749,900 RETAIL PLAZAS AVAILABLE ESSO GAS STATION WITH TRUCK STOP 3 Acres, Approx 50,000 SF 5.5% CAP In the GTA 1242 SqFt - Professionally Finished w/ 5 Rooms, reception, kitchenette 4 Dispensers, C. Store, Truck Repair, Dealership, Restaurant, High Income, 3 Bedroom Home LOOKING FOR QUALIFIED BUYERS INVESTMENT PROPERTIES AVAILABLE RETAIL PLAZA WITH AAA TENNATS • 3 Acres Land • Approx 50,000 SF • 5.5% CAP • In GTA 905.456.1010 INDEPENDENTLY OWNED & OPERATED • 3.5 Llitres Gas Vol • 30 Minutes From GTA • 3 Dispensers • Approx 1 Acre • Rental Income From Body Shop & Repair Shop • Co-op Professional Offices • 5 Executive Office • 1 Boardroom • 1 Kitchen & 2 Washrooms • Central Location • Freestanding Freehold Industrial Office Building • Over 40 Parking Spaces • 3 Drive-ins • 7510 SqFt Building • 100 x 200 ft Lot • Close to Rexdale & Kipling • Single Tenant Buildings • Medical Buildings • Retail Plaza • Gas Station • Hotel/ Motel • Call for more details • Truck Parking (any size) • Truck Repair Shops • Retail Plazas • Commercial / Industrial / Residential Development Land • Industrial Building 5000-300K SF • Investment properties Call For More Details ASKING: $4.5 Million Call for more details Call now for more details. Car Wash, McDonald’s, 4 Dispensers, C. Store $6.5 MILLION $6.5 MILLION Close to Estate Homes, 50 Acres, 3 Bedroom Home with Barn $3.5 MILLION AAA Tenants, NNN Leases, Very close to Brampton CALL FOR DETAILS Call for Details USED CAR DEALERSHIP & AUTO REPAIR COLLISION CENTER -ETOBICOKE TRUCK PARKING AVAILABLE IN BRAMPTON & MISSISSAUGA TRUCK PARKING AVAILABLE IN WINDSOR 1 Acres, 1.25 Acres, 4 Acres, 4.5 Acres, 10 acres Call for Details 2-10 Acres Call for Details SITE PLAN APPROVED SITE IN CALEDON Gas Station with C-Store, Car Wash & Quick Lube PRICE $3.99 MILLION COMMERCIAL /OFFICE FOR SALE IN MISSISSAUGA COMMERCIAL DEVELOPMENT LAND DRAFT PLAN APPROVED SITE Close to Brantford, New Subdivisions, Intersection of Two Main Roads, LOI from AAA Tenants. CALL FOR MORE DETAILS Gas Station, C/ Store and 5 Story Self storage Corner Location, Busy Major Hwy CALL FOR MORE DETAILS SOLD
MARCH 2024 - MAY 2024 | Say you saw it on BizSold! PAGE 35 COLDWELL BANKER COMMERCIAL PETER BENNINGER REALTY, BROKERAGE Phone: 519-743-5211 | 508 RIVERBEND DRIVE, KITCHENER, ON. N2K 3S2 Visit Our Website! WWW.COLDWELLBANKERCOMMERCIAL.CA * Sales Representative ** Broker WATERLOO REGION PROPERTITES – AVAILABLE FOR SALE OFFICE/RETAIL BUILDING 1,750 SF | $1,250,000 KITCHENER | MLS: 40506861 JAMES BOUDREAU** X 3020 COMMERCIAL BUILDING 11,679 SF | 0.21 AC. | $2,500,000 CAMBRIDGE | MLS: 40267992 JAMES BOUDREAU** X 3020 OFFICE BUILDING 10,000 SF | 0.730 AC. | $2,700,000 BRESLAU | MLS: 40528876 JAMES BOUDREAU** X 3020 REDEVELOPMENT SITE 2.11 ACRES| $4,300,000 WOOLWICH | MLS: 40523780 JAMES BOUDREAU** X 3020 REDEVELOPMENT SITE 5 PROPERTIES | 1.210 AC. | $6,900,000 KITCHENER | EXCLUSIVE JAMES BOUDREAU** X 3020 DOWNTOWN RETAIL CONDO 2,403 SF | $900,000 KITCHENER | MLS: 40508079 JAMES BOUDREAU** X 3020 RESTAURANT/RES. MIX USE BLDG 2,600 SF | 0.16 AC | $1,650,000 KITCHENER | MLS: 40549607 LESTER TOBIN* X 3023 RETAIL INVESTMENT PLAZA 9,300 SF | 3 UNITS | 0.74 AC $1,799,000 WINDSOR | MLS: 40544417 LESTER TOBIN* X 3023 LAND & BUILDING 10,129 SF | $2,750,000 WOOLWICH | MLS: 40523784 JAMES BOUDREAU** X 3020 Jagmohan Luthra Dir: 905.781.1841 Off: 905-712-9888 jmluthra@gmail.com Sales Representative www.jagluthra.com HomeLife Hearts Realty Inc., Brokerage We have serious, qualified buyers for Pizza Business, Food Franchise, Convenience Store, Laundromats and other commercial properties. Are you selling your business??? Give me a call today SPECIALITY BURGERS AND POUTINE FRANCHISE BUSINESS FRANCHISED PIZZA BUSINESS FOR SALE NEAR GUELPH CONVENIENCE STORE IN KITCHENER CALL FOR MORE INFO $380,000 PLUS STOCK • Established and new locations available
Call for more information • Sales $12k/Wk., Low food cost • Dense neighborhood, lots of free parking • Average overheads, complete training by the Franchisor • Call for further information Avg. Sales $22,000/Wk. Lotto comm. 85K • ATM: $200/ week, Pudo commission, Rebates. 2700 sqft Low rent and long lease options available • Prime location with parking High exposure neighborhood MEXICAN BURRITO FRANCHISED BUSINESS NEAR GUELPH GOURMET PIZZA CAFE FOR SALE IN WATERLOO CONVENIENCE STORE IN KITCHENER $425,000 PLUS STOCK $375,000 PLUS STOCK • Well established clientele and great sales • Low food cost and low overheads • Prime Plaza with Prestigious Tenants
Call for more information • High Volume sales, low food cost and low overheads • High foot traffic area, Eat in or Take out options available • Great location, call for further information • Extremely busy location • Business located in Prime Plaza with Anchor Tenants • Rent $4425/Mth. Incl. TMI Lotto & ATM Comm. Long lease and lots of parking Excellent family business Call for more information $525,000 PLUS STOCK $200,000 PLUS STOCK
For Advertising Information Please Call 1-877-337-1188 or visit www.BizSold.com | VOLUME 24 ISSUE 1 PAGE 36 ggicopoulos@gmail.com Cell 519-852-4458 seangic@gmail.com 519-852-4426 George GicopoulosSean Gicopoulos Sales Representative Business-Commercial Sales and Leasing Sales Representative Investments And Residential WE MADE THE SWITCH TO EXP., MAYBE YOU SHOULD TOO! COMMERCIAL CANADA INC GRAND BEND DINER Main St Grand Bend, beach club lounge Two businesses one space • Breakfast, lunch in daytime dining and lounge in the evening PRESCOTT SALE OR LEASE •Middle of Town Corner location with ample parking • 2,400 sq ft building • Ideal for convenience store KAPUSKASING ROADHOUSE • Property building and equipment • Fully equipped and extensively renovated Free standing over 4,000 building with ample on site parking Start your own concept here Open to offers SOUTHWESTERN ON RESTAURANT W/ PROPERTY 1.9 MIL • Sales in the 2.5 mil. range • Pro t in access of $300,000/year on Dundas East ,000 or $17/sq ft • 5,200 sq ft building on 1.3 acres FOR LEASE GeorgeGicopoulosExpR_HalfPage.indd 1 2021-12-15 12:54 PM ggicopoulos@gmail.com Cell 519-852-4458 George Sales Representative Business-Commercial Sales and Leasing GRAND BEND DINER Main St Grand Bend, beach club • Two businesses one space • Breakfast, lunch in daytime dining lounge in the evening SOUTHWESTERN ON RESTAURANT W/ PROPERTY 1.9 MIL Sales in the 2.5 mil. range Pro t in access of $300,000/year • 16,000 sq ft Vacant Lot on Dundas East • About 800 sq ft office • Ideal for used car sales 5,200 sq ft building on 1.3 acres LOT FOR LEASE GeorgeGicopoulosExpR_HalfPage.indd Sean Gicopoulos Sales Representative Investments And Residential seangio@gmail.com Cell 519-852-4426 ggioopoulos@gmail.com 519-852-4458 Sales Representative Investments And Residential George Gicopoulos RESTAURANT + PROPERTY SOUTHWESTERN ONTARIO JOHNNY GREEKOS FRANCHISE SMALL TOWN BAR AND GRILLE INCLUDES PROPERTY LONDON TEA LOUNGE WELL ESTABLISHED NEIGHBOURHOOD PUB FAMILY STYLE RESTAURANT SOUTHERN ONTARIO 896 MOSLEY ST WASAGA BEACH • Sales in the 2.5 million range • Profits in access of $300,000 per year plus $90,000 net rent and generous MNGMT wages • 5,200 sq ft building on over 1 acre • Tons of loyal clientele • Great Development Site • Re-Zoning Initiative for 7 Townhouse Units • Corner Location with 14,000 SF • Close to Beach #3 • Single or Multi Units 1,200 - 1,800 SF • Site Selection and Financing Assistance • Training and Ongoing Support • Presently Expanding in S/W, Ontario. Estimated Development Cost $325,000 - $425,000 • Main floor Licensed for 95 • Upper level living quarters • Free standing with great patio • Sales well above a million • Old world tea house at its best • Great reputation and loyal clientele • Open only 5 days very short hours • Room to extend hours and days of operation • Good Lease with Renewal Option • Location in London ON • Good Sales in $1.2 Mil Range • Good Mix of Food and Liq. Sales • Great corner location by the beach • Over 9,000 sq ft up to 6 stories • Close to beach #1 • Ideal for short term rental development • Less than 1 hour from GTA • Corner Location About 6,500 SF • Great Sales Over $3 Mil/Year • Long Term Lease With Renewal Options Asking $1,950,000 Asking $395,000 Asking $1,290,000 Asking $89,000 Asking $599,000 Asking $895,000 Asking $795,000 Asking $995,000 AMIT TALREJA SALES REPRESENTATIVE Cell: 647-971-1399 Off: 416-494-7653 amit@talreja.ca • talreja.ca RESORT FOR SALE IN SASKATCHEWAN 80+ ROOMS NEW DAYS INN IN EASTERN CANADA PRIME MOTEL FOR SALE 1 HOUR FROM TORONTO 30 ROOM MOTEL HOTELS/MOTELS 55 RM BRANDED HOTEL + RESTAURANT, BAR & BANQUET HALL ASKING $15,000,000 ASKING $3,500,000 ASKING $3,500,000 $6 M - $15 M ASKING $5,700,000 ASKING $7,500,000 • 90 rooms resort • Excellent revenue • Great location Approved for 50-Room Branded Hotel Near Hwy Exit Lucrative Revenue $500K - $1M Perfect Location Capturing Traffic from busy Hwy Great Growth Potential 2.5 Hrs West of GTA Multiple locations in Alberta 3 hours North East of GTA Priced at $5.70M Small VTB available for qualified buyers • 80+ rooms • Reputed Brand • Well Performing & Low cost of Operation

GAS STATION

• Renovated Gas station on appro. 4.5 acres

• New 3 DWFG tanks, 4 card reader pumps with 12 nozzles installed in 2018

• Approximate gas volume of 5 Million Liters

• C Store Sales $365,000 Lotto $8,000

• Approx. $118,000 Rent from 3 Apartment units, Used car dealership, Restaurant & Truck parking

• ATM/AIR/REBATES $6,000

• Approx. NOI $435,000 GROCERY STORE

$4,200,000

• Good running Dry cleaning plant business for sale. This business is in operation from 25 years. Current owner since 2017.

• Long list of Equipment. Very well maintained.

• Machines are in very good condition. Great counter sales.

• Doing cleaning of 8 depots. Lots of potential to add more depots or other dry cleaning options.

• Inventory cost will be on the top of Purchase price. $725,000 + INV $449,000 $199,000

• They are doing Cleaning of 9 Depots. Lots of Potential to increase the number of depots

• Long List of Equipment and is in very good condition & Lots of upgrades in the Equipment.

• Net Annual Income: Approx. $120,000.00

MARCH 2024 - MAY 2024 | Say you saw it on BizSold! PAGE 37 VIC GHUMAN S A L E S R E P R E S E N T A T I V E Office: 905-794-7890 vicghuman@gmail.com “NEED LISTING FOR GAS STATION UP TO $2.5M & PLAZA UP TO $3.5M. HAVE SERIOUS BUYERS” JUST A CALL AWAY TO PROVIDE YOU PROFESSIONAL AND RELIABLE REAL ESTATE SERVICES • Location! • Must • Great • Take • Fully • High • Now • To Walk Wellesley Sub Way. • Rare Opputunity To Buy Name Brand (Esso) Gas Station With Prime Property, Just 25 Min. • North Of Brampton, Convience,Country Style, Lotto, Atm And Auto Garage. • Fully Renovated, New Ac, Furnace, New Canopy, Consistent Income Of $200K/Year After All Expenses Before Financing, Serious Enquiry Only, Buyer Should Have Enough Down Payment • Recently Renovated Self Serve Shell Gas Station With Convenience Store And Lotto 649 In Centre Of City. • Fibre Glass Tanks And Lines With Leak Detect Sensors 4 Pumps With 8 Nozzles. • Card Reader At Pumps. Corner Lot. Beautiful And Clean Property With Lots Of Future Potentials. • Unit For Sale At Steeles/Hwy 10 In Brampton Business Centre. • Reception Area With Granite Floors, 5 Offices, 1 Storage Rm, Kitchen. • Premium Location In Residential Community, Close To Hwy 401, 410, 407, 403, Public Transportation Hub, Sheridan College & Other Retail/Community Centers. • Attractive. Modern Design 5-Storey Office Tower 2 Elevators, Common Area & Washroom. • Independent • Corner • Very • Weekly • Cigarette, • Owned Lots Of Parking!! Profitable Business!! $1,549,000 $1,250,000 $589,900 $188,000 $169,999 $169,900 $289,900 www.vicghuman.com • Location! Location! Location! • This Treats Coffee Shop Is Located Right In Yonge/Eglinton Subway Statiom!! • Great Opportunity To Make Money!!! • Purchase Price Includes Equipment And Chattels, Stock Is Extra. • 2nd Level With Cinema, Retail Stores, Bank, Travel Agency Etc. • Treat’s Franchise Business Located Inside The Eglinton Subway Station (Yonge/Eglinton), Very Busy Location, Easy To Run. $179,900 CONVENIENCE STORE OFFICE UNIT IN BRAMPTON GAS STATION GAS STATION TREATS COFFEE SHOP VIC GHUMAN BROKER OF RECORD Office: 905-874-1700 Direct: 416-835-1243 Email: vghuman@lesscomrealty.com www.vicghuman.com LESSCOM REALTY INC. BROKERAGE
Approx. 10,000 Sq. Ft. of total leased premises including basement
Rent Approx. $10,000.00 + T.M.I. + H.S.T. per Month
Lots of Equipment & Chattels
Operating from last 22 years
Freestanding building
Lots of parking
Owner Take Home Approximately $180,000.00 Annually
4390 Sq. Ft.
Rent $3885.90
per month (Incld. T.M.I.)
HUSKY
DRY CLEANING PLANT IN MISSISSAUGA DRY CLEANING PLANT IN MISSISSAUGA SOLD
IN BRAMPTON

SPECIALIZING

RETIREMENT

10 Bed Funded Residential Care Home with separate 1.5 storey

3 bedroom, 2 bathroom live-in quarters for owner-operator on 1.2 acres in SW Ontario. Asking $1.99M

10 Bed County Funded RCH in Southwestern Ontario. 1 hour east of Toronto. Turnkey. Urban City Location. Asking $969,000

31 Bed funded RCH in Kitchener/ Waterloo

Always full with no vacancy. Close to Downtown on prime real estate. Cap rate 9.62%. Opportunity to streamline overhead. Asking $2.4M

519-859-0133 rahimcharania@gmail.com www.charaniagroup.ca 647-243-6742

• Fully leased With A+ Tenants Of Medical Clinics, Walk-In Clinic, Dentist, Pharmacy, and Lab.

• Surrounded by High Rise Condos and Developments.

• Site Area is 20,610 SF.

9 Bed County Funded Residential Care Home

Located in Oxford County. Cap Rate 10%. Turnkey. Asking $949,000

8 Bed funded Community Homes for Opportunities (CHO) in London ON. Asking $929,000 Don’t Miss this One!

27 RCH in Kitchener/Waterloo. Room to expand. Cap Rate of 12.7%. Prime location. Turnkey. Asking $2.2M

Currently Being Built.

• The Zoning Is C1 Allows for Suitable Business Uses Range From - Retail, Dental, Medical, Law Firm, Real Estate Office, Montessori School, Day-Care And Much More. Elevator Accessibility For All Floors.

• Easily Accessible To Highways.

• Well Maintained Building.

• Profitable Pharmacy Business and Two Commercial Units.

• Medical clinic space includes waiting area, reception desk, up to 4 examination rooms, kitchenette, staff bathroom, and patient bathroom.

• Surrounded by High Rise Condos and Developments.

• Great Sales and Loyal Clientele.

For Advertising Information Please Call 1-877-337-1188 or visit www.BizSold.com | VOLUME 24 ISSUE 1 PAGE 38 Bayview Realty Inc. Brokerage David Shenouda Mariam Rezk 416-844-3393 647-204-5539 905-889-2200 davidhlb700@gmail.com MariamR.Realtor@gmail.com BROKER Sales Representative CELL CELL OFF ASKING: $9,000,000 Investment Opportunity in Southwestern Ontario • Great Investment Opportunity Retail/Residential Building In Excellent Condition. This Turnkey Investment Offers 15 Residential Units + 3 Retail Units + 3 Large Basement Units. • High Demand Location And Building, Easy To Manage With Long-Term Stable Revenue. • Leased With A+ Tenants. Elevator Accessibility For All Floors. Separate Hydro And Gas Meters. • Tenants Pay For Gas And Hydro. Easily Accessible To Highways. • Surrounded By Major Banks, Shopping Mall, Medical Offices, Restaurants, And Cafes. ASKING: $5,000,000 Great Opportunity For Investors/End Users in GTA • Attention Investors Or End Users. Great Opportunity to own this over 7000 sq. ft. Freestanding Commercial Building Located in High Demand Location. • The Building Is Surrounded By Many Residential Homes And New Condos
ASKING: $4,000,000 ASKING: $2,800,000 Medical Building For Sale in GTA Business & Commercial Units in Southwestern ON
Medical
• Investment Opportunity To Own One Of The Best Professional
Building Location.
SOLD SOLD CHARANIA GROUP REAL ESTATE PROFESSIONALS
“Recession Proof Business Opportunities”
Rahim Charania | BROKER
IN
AND RESIDENTIAL CARE HOMES
MARCH 2024 - MAY 2024 | Say you saw it on BizSold! PAGE 39 HASEEB SHEIKH EXCLUSIVE LISTINGS SALES REPRESENTATIVE 647-988-4449 HASEEB.REALTOR@HOTMAIL.COM CHOCOLATTE FRANCHISE OPPORTUNITY FIREFLY BURGERS FRANCHISE OPPORTUNITY HOLYCHOCO FRANCHISE OPPORTUNITY
Offering New Franchises all Over Canada
Great Annual Sales, with Stores Averaging Over $85,000/Mo • 20 Locations to be Opened in the GTA by Mid 2024 • Offering New Franchises all Over Canada • Great Annual Sales, with Stores Averaging Over $85,000/Mo • 20 Locations to be Opened in the GTA by Mid 2024 • Offering New Dessert Franchises all Over Canada • Great Annual Sales, with Stores Averaging Over $85,000/Mo • 20 Locations to be Opened in the GTA by Mid 2024 STARTING FROM $475,000 STARTING FROM $500,000 STARTING FROM $500,000 PINOCHI ICE CREAM FRANCHISE OPPORTUNITY SHAWARMA ROYAL FRANCHISE FOR SALE BRANDED GAS STATION + PIZZA PIZZA ESSO + LCBO + DET HOUSE SHAWARMA ROYAL FRANCHISE FOR SALE ULTRAMAR + CARWASH HWY 8/21 FROM 2:15 HRS FROM GTA SITE PLAN APPROVED BRANDED GAS STATION FOR SALE ESSO GAS STATION NORLAND BRANDED GAS STATION 1HRS DRIVE GTA WEST HWY 401 SHAWARMA ROYALE HAMILTON PINOCHI ICE CREAM HAMILTON RESTAURANT FOR SALE IN MISSISSAUGA, ON SHAWARMA FRANCHISE FOR SALE IN GTA CONVENIENCE STORE WITH PROPERTY SAPARTA ELGIN TOWNHOUSES SERVICE LOTS FOR SALE IN WELLAND COMMERCIAL LOT WITH TRUCK PARKING FOR SALE IN HAMILTON TOWNHOUSES SERVICE LOTS FOR SALE IN WELLAND MOTEL FOR SALE ESSO CAMBRIDGE ESSO GAS STATION FOR SALE IN GTA WEST • Dessert Franchise • Offering New Franchises Across Canada • Average store sales +$85,000/ m • Growing QSR restaurnat Cuisine • 1,300 SF - 1,800 SF • Currently 16 Locations • 2 Hours Drive From GTA • Gas volume 1.85 Million Litres • Land 1 acre • Gas Volume 1,800,000 • Store Sale 1.5 Million • 1.15 Hrs drive from GTA • Convivence Store + Mechanical workshop • 2 Apartments 3 B. Rooms • Gas Volume 3.5 Million • VOLUME:- 1.5 MILLION CROSS LEASE:- 2.5 C • CARWASH:- $146 K 1” ACRE • 2000 SQFT STAND ALONE • PUMPS:- 5 (GILBARCO NEW PUMPS) • GAS VOLUME 2.5 MILLION CROSS LEASE 2.25 C • CAP RATE +12% • 1 Hour from GTA 401 West Gas Volume 7 Million • Store sales of 1.7 Million • Est. Net Profit Margins +22% - 27% • 24 Locations Available in GTA • Great Annual Sales • Average sale $ 70,000/ month • Royalty 6% • Recommended site Size: 1,000 - 1,500 S. Feet • Dine in 30 people • Open Kitchen concept • Close to Highrise and residential area • Great Annual Sales • Estimated Net Profits 22-27% • Now Expanding Across Canada Annual Sale $1,650,000. • Store Area +3,000 S.Feet, • Cap Rate 11% 10 Townhouses • Service lots Land 3 Acres • Rental Income $6,000/Mo • Truck PArking for last 20 Yrs • 10 Townhouses • Service lots • 1.30 HRS FROM GTA • CAP RATE 9.34% • 12 Rooms in total - All Dobule Beds • Gas Volume 2,700,000 • Store sale 800,000 • cap rate 10 % • 1 Hour From GTA West • Gas Volume 1.2M L/Year • Auto workshop $3,000/Month $425,000 $575,000 $3,900,000 $2,350,000 $3,500,000 $2,300,000 $1,000,000 $2,500,000 $4,000,000 $650,000 $600,000 $325,000 $650,000 $1,799,000 $2,700,000 $3,200,000 $15,000,000 $2,300,000 $2,800,000 $2,500,000
For Advertising Information Please Call 1-877-337-1188 or visit www.BizSold.com | VOLUME 24 ISSUE 1 PAGE 40 Cell: 647-456-7193 peterlohas@gmail.com SUTTON GROUP ADMIRAL REALTY INC. SOON HO LEE ( PETER ) Sales Representative Office 416•739•7200 JUST SOLD GAS STATION, LCBO, HOUSE FOR SALE GAS STATION FOR SALE GAS STATION FOR SALE GAS STATION,2 FOOD PARTNERS FOR SALE C-STORE WITH LCBO FOR SALE GAS STATION FOR SALE GAS STATION WITH LCBO FOR SALE GAS STATION COMING!!! PLAZA COMING SOON!!! PLAZA WITH GAS STATION GAS STATION FOR SALE GAS STATION FOR SALE GAS STATION WITH MCDONALD Asking $1.9M Asking $6M Asking $2.4M Asking $5.3M Asking $1.5M Asking $2.8M Asking $5M Asking Price $15.8M Asking $5.6M Asking $8.5M Asking $7M LCBO Sales $1M Detached Single House included (3Beds and recently renovated ) Newly Built in 2019 • Don’t Miss out Auto & Coin Car Wash,Coin Laundry Rental Income 2 Food Partners 1.18 Acres of Land Located in Hwy,One Hour From Toronto Extra Rental Income,Monthly $6,650 Newly built and Lcbo under application 1.3Acres of Land Good Location. Tim Hortons is besides. Gas Volue 4ML, C Store $1.3M, Food Partners $400,000 Making money C-Store with Lcbo No Competition. Only One C store in Town Located inside Town Rare opportunity Just 40 Min from Toronto Great location Tim Hortons and Other Tenants 8ML Gas Volume and $1,3M C store Sales Triple A Tenants No Competition Only Serious Buyers Net profit over $1M Auto & Coin Car washes Extra Commercial rental Incomes Only Serious Buyers, No Agents No Competition. Big Land and Just 5 Years Old

• Proposed for 14 Townhouses and 2 Detached.

• Site plan approval within a year

• Located in

Yonge St

• Just Off The Main Hwy (Hwy 12). 40 Mins from Toronto

• Zoning Allows For Cannabis use & Heavy Equipment Sales, Contract Yard.

• Can sell as a whole or small parcel as 1 Acre and up

• Many Other Uses Permitted

• Approx 0.75 Acres

• Just 5 Mins drive Jackson’s Point Harbour & Franklin Beach.

• Highway Commercial (C2) Zone

• Allows a wide range of employment uses, such as motel, bank, restaurant, drive-thru, etc..

• Frontage ±104 feet along Baseline Road

• Next to 2 schools, residential area

• Approved for 2,039 units

• Near LRT and Go Station

• Beautiful Humber River Site

• GFA around 1,100,000 SF

• Can be Condo Or Rental Apartment

• 261 Hespeler Road

• Size from 5,000sf to 10,000 sf

• Easy Truck Access With Grade Level Door

• Zoned C4M3 (Commercial) and (Industrial)

• Great Location, in a busy plaza

• over 20 years of business

• Great Income

• Site Area 13,500 sq ft

• 28 Units in total

• 3 Parcels

• Surrounded by brand new condos and pre-construction condo projects

Located on Yonge &Steeles

388SF

Broker of Record RETAIL PROPERTY FOR SALE MARKHAM 19.25 ACRE INDUSTRIAL LAND RAMARA APARTMENT BUILDING TORONTO CALL FOR DETAILS $335,000 $335,000 $350,000/ ACRES CALL FOR DETAILS • Solid client looking for a car wash site • Hotels For Sale • Multiple Plazas For Sale COMMERCIAL LAND FOR SALE SUTTON BRAND NEW RETIREMENT HOME FOR SALE TORONTO DRY CLEANER FOR SALE RICHMOND HILL MASSAGE SPA FOR SALE WITH PROPERTY 50 ACRES FARM LAND W/ HOUSE FOR SALE CALL FOR DETAILS CALL FOR DETAILS $2,199,000 $585,000 CALL FOR DETAILS
• Ready to Occupancy • 5 Storey building • 105 Bed in total • Approx Site Area 165,131 sf • Total GFA 200,210sf
• 1,100 Sf, 2 Level • Presently Operated As A Licensed Holistic Spa. • License Will Be Transferred To The New Buyer. • All equipments stay.
Hill,
Core Richmond
just across
• 2 Car Garage Detached House, Indoor Arena, 32 Boxstalls, 10 Paddocks Plus Training Rings, Viewing Lounge • Great For All Riders- Training, Pleasure Or Trail Ridin • Excellent Condition Close To 401 And 407.
2 WAREHOUSE/ RETAIL UNITS FOR LEASE CAMBRIDGE 4.8 ACRES DEVELOPMENT LAND TORONTO DEVELOPMENT SITE RICHMOND HILL CALL FOR DETAILS CALL FOR DETAILS CALL FOR DETAILS 26 26 1.5 ACRES DEVELOPMENT LAND VAUGHAN
COMPLETE BUYER REGISTRATION ON OUR NEW WEBSITE FOR FURTHER DETAILS WWW.ARMONDONLINE.COM Eric Arzoomanian Sales Representative Zhuo Wang Sales Representative Armond Arzoomanian Broker Ziad Shamoun Broker Call For A Complimentary Market Evaluation Of Your Business And Income Property. 1819 Businesses Listed and Sold HOMELIFE/RESPONSE REALTY INC., BROKERAGE TEL: 905-949-0070 | FAX: 905-949-9814 Info@armondonline.com 4304 Village Centre Court, Mississauga, ON., L4Z 1S2 #1 Business Broker in Ontario. #1 Listing Team in Canada INDEPENDENT CONVENIENCE OUTSIDE GTA Established in Town For Over 40 Years. Sales $2M/ Year. 5,000 Sq Ft. Lease 9+5+5. Rent 9,800/Mo Gross Incl. TMI/ High Gross Margin. Open 8:30AM - 7:00PM Mon-Sat, Sun 9:00AM - 6:00PM. Sellers Family Potential Discretionary Income: $250K+/Yr. Asking $399,000 Financing $350,000 FRANCHISE CONVENIENCE STORE LOCATED IN ETOBICOKE Sales: $2M/Year + Lottery & Royal Back ATM. Income of $30K/Year. established Location for Over 20 Years. High Profit Margin Only 25% of Sales are Tobbaco Products. Absentee Ownership. Sell Discretionary Income As Owher/Operator $300K/Year Asking $799,000 Financing $350,000 INDEPENDENT CONVENIENCE STORE TORONTO Sales $1M/Year + 6/49 + Royal Bank ATM $35K - $40K/Year. Established Over 25 Years. Absentee Ownership. Rent $6,500/Mo. Gross Incl TMI. Lease 5+5. Seller Discretionary Income Potential $150K/Yr Asking $299,000 Financing $200,000 CONVENIENCE STORE FRANCHISE MISSISSAUGA AAA lopcation. Sales $2.1M/Yr + 6/49 + ATM + Bitcoin Income. $60K/Yr. Est. For 20+ Years Under Same Management. Franchise Agreement 8+5 Years. Sellers Discretionary Income Potential $200K - 250K/Yr Asking $599,000 Financing $350,000 5 DAYS/WEEK DELI CAFE Established and Under Same owership for Past 20 Years. Located in Mississauga Surrounded By Offices at AAA Location. Full Kitchen with Hood with Potential to Expand Menu. Open 7am - 2Pm, 5 Days. Lease 5+5 Rent $1,900/Month. Asking $99,000 Financing $50,000 CANADA POST FRANCHISE + GIFT SHOP -TORONTO Sales $1M/Year. 2 Terminals Established for Over 20 Years, Renovated Post office with 7 year Lease & Franchise Agreement. Gross Profit $260K/Year. Potential Seller Discretionarsey Earning $150K/Year Asking $369,000 Financing Available FLOWER SHOP TORONTO Established Location with Regular Clientele. Sales $200K/Year & Growing. Rent $2,500/Month Gross Incl. TMI Seller Discretionary Income Pot. $65K - 75K/Year Asking $59,000 Financing $60,000 ATM BUSINESS GTA 175 Machines Established Over 4 Years. Turnkey Operation Owner Operator. Sellers Discretionary Earning $450-500K/Year Asking $1,499,000 Financing Available to Qualified Buyer INDEPENDENT CONVENIENCE STORE HAMILTON Sales:$20K-$22K/WK + 6/49 Income. $6-7K/Mo + ATM & Bitcoin: $1,000/Mo. Potential for Vape Store Addition. Free Standing Building. Lease 2+5. Rent: $9,500/Mo Gross Includes TMI. Sellers Discretionary Income: $170K - $180K/Year Asking $399,000 Financing $300,000 LOTTO KIOSK MALL LOCATION MISSISSAUGA Sales $10-11K/Wk + Lotto Commission Over $100K/Yr. 2 6/49 Terminals. 300 Sq Ft Lease 3+5. Rent $2,500/Mo Gross Incl. TMI & Utilities. Same Ownership Over 25 Years. Open 9am - 7pm. Sellers Discretionary Income Over $140K/Year Asking $249,000 Financing $100,000 FRANCHISE MEXICAN EATERY DOWNTOWN TORONTO AAA Location. Absenttee Onwership. Lease 5+5 Pre Pandemic Sales: $1M/Yr. Open 11AM - 9PM. Owner Operator Potential Discretionary Income: $10K - $12K/Month Asking $399,000 Financing $250,000 INDEPENDENT CONVENIENCE MISSISSAUGA Under Same Ownerhip For PAst 12 Years. Sales $900K/Yr + 6/49 Income $3,000/M + Bitcoin & ATM $1,000/M. Lease 4+5 Rent $8,200/Mo Gross Incl TMI. Sellers Discretionary Income Pot $150K/YR Asking $299,000 MR SUB FRANCHISE VAUGHAN Established For Over 10 Years With Same Ownership Sales Over $200k/Yr. Easy One Person Operation. Rent $5,900/Mo., Gross Includes TMI Asking $159,000 Financing $100,000 INDEPENDENT CONVENEINCE STORE PICKERING Sales $17K - $18K/Wk + 6/49 + Bitcoin + ATM Income: $7K - 8K/Month. New Lease 5+5. under Same Ownership For Past 10 Years. Easy One Person Operation. AAA Loation Asking $299,000 Financing $250,000 PLAZA FOR SALE National Tenant. 3 Units, 4,500 SF. Net Income $58,000/YR. Corner Property on Major Intersection in Town. Great Opportunity For Owner/Operator. 6.5% Cap Rate Asking $988,000 Financing Available SOLDFIRM SOLDFIRM NEW PRICE NEW LISTING NEW LISTING NEW LISTING NEW LISTING NEW LISTING NEW LISTING NEW PRICE NEW LISTING NEW LISTING NEW LISTING NEW PRICE NEW LISTING NEW LISTING COMING SOON NEW LISTING NEW PRICE NEW LISTING NEW LISTING NEW PRICE NEW LISTING NEW LISTING NEW LISTING NEW LISTING NEW LISTING NEW LISTING NEW LISTING NEW LISTING NEW LISTING NEW LISTING NEW LISTING NEW PRICE NEW LISTING NEW PRICE NEW PRICE INDEPENDENT CONVENIENCE MISSISSAUGA Established for Over 15 Years. Sales $450K/Yr + 6/49 Income $20K/YR. Rent $3,900/M Gross Incl TMI. Lease 3+5. Open 9 Am - 9 Pm Asking $99,000. Financing $65,000. FRANCHISE LOTTO COUNTER & SMOKE SHOP Subway Access. 5 Days/Wk, 8am - 4pm. Under same ownership for past 12 years. Rent 2,700/Mo Gross Incl. TMI. Easy one person operation. Hours can be extended. Closed on Holiday & Long Weekends. Seller Discretionary Earning: $60-70K/Year Asking $129,000 Financing $50,000 MIDDLE EASTERN GROCERY STORE MILTON Independent Operation. Sales $2M/Yr + 6/49. Income $30K/Yr. 2,500 SF. Lease 9+5. Rent $5,700/Mo Gross Includes TMI. Open 8AM10PM. Seller’s Discretionary Income Potential 300K - 350K/Year Financing Up To $400K INDEPENDENT CONVENIENCE STORE LONDON Sales $850K/Yr + 6/49, ATM, Bitcoin Income: $3,500/M. Additional Income $800-900/M. Rent: $4,400/Mo. Gross Incl. TMI Only 25% of Sales are Tobacco Products High Profit Margins. Absentee Ownership. Seller Discretionary Income Potential $140K-$175K/Year Asking $399,000 Financing $250,000 FRANCHISE CONVENIENCE STORE TORONTO New Location - Under New Condominium with Great Exposure on Main St. 11,000 Sq Ft. Open 7AM-11PM, Weekends: 9AM-10PM. Current Sale $7K - $8K/Wk. Rent $5,900/M Gross Includes TMI. Lease 5+5+5. Sales Currently $9K-$10K/WK + 649 Income: $1,000/M Asking $89,000 Financing $80,000 ATM BUSINESS - PART TIME 17 Machines Routes - Established Locations. Brampton, Mississauga, Toronto, North York, Scarborough. Easy One Day Of the Week Operation. Seller Discretionary Income: $50K - $60K/Year. Potential for New Locations & More Revenue Asking $139,000 INDEPENDENT CONVENIENCE STORE LONDON Sales $2.1M/YHear + 6/49 + ATM + Bit Coin $8,000/Mo. Same Ownership For Over 12 Years. Lease 10+5+5. Rent $9,500/Mo. Sellers Discretionary Income $300K/Year. Asking $649,000 Financing $300,000 CONVENIENCE STORE WEST END Sales 1.1M/Year + 6/49 & ATM Income: $7-8K/Month. Established for Over 25 Years. AAA Location. Rent $8,500/Mo Gross Inc TMI. Seller Discretionary Income Potential $150K - 200K/Year Asking $399,000 Financing $250,000 INDEPENDENT CONVENIENCE STORE IN BURLINGTON Average Sales 16-17K/Wk + 6/49 + ATM + BITCOIN. Commission $3,000-3,500/Mo. Same Ownership for Past 12 Years. Open 7am - 11pm. Rent $4,300/Mo Gross Incl. TMI. Lease 3+5 Years. Sellers Discretionary Income PotentialL $130K-140K/Yr Asking $299,000 Financing $125,000 FRANCHISE CONVENIENCE STORE MISSISSAUGA A Sales $2.8M/Yr + 6/49 & Royal Bank of Canada ATM With Subway Franchise. Established 11 Years With Same Ownership. Sellers Family Discretionary Earning $350-450K/ Year Asking $999,000 Financing: $500,000 CONVENIENCE FRANCHISE MISSISSAUGA Sales $1.9M/Year + 6/49 Income $6K/Mo+ Royal Bank ATM. Established for Over 20 Years & Fully Renovated. AAA Location. Seller Discretionary Income Potential $200K - $250K/Year Asking $399,000 Financing $350,000 INDEPENDENT CONVENIENCE STORE IN OSHAWA Sales $14K-$15K/Wk + 6/49 & ATM Income: $2,300 - 2,500/ Mo. Open 8 am - 9 pm. Beside Tim Hortons & Little Ceasar. Rent $4,000/Mo Gross Incl. TMI. Lease 5+5. Easy one Person Operation Seller Discretionary Income $75K - $80K/Year Asking $139,000 Financing $60,000 CONVENIENCE STORE + PROPERTY Prime Corner Location West End of GTA. Store Revenue $40-42K/Wk + 6/49 & ATM & Bitcoin. Income $8,000/M Free Standing $2,500 SF Building. Established for Over 12 Years. Asking $2,990,000 Financing Available FASHION WATCH ROUTE AVAILABLE Unique Setup. Part Time or Full Time Operation. Full Training. locations available anywhere in Ontario, minimum investment required. Over 800 Existing Locations Financing Available SHAWARMA FRANCHISE New Market Turnkey Operation. Sales $1M+/YR. Potential Franchise. Discretionary Income $150K - $200K/Year Financing Available to Qualified Buyer CONVENIENCE STORE TORONTO AAA Location Sales $2M/Year + Lotto + ATM (Royal Bank). Established for Over 20 Years Under Same Management. Lease 3+5 Absentee Ownership. Sellers Discretionary Incoem Potential: $250K - 300K/Year. Asking $699,000 Financing $300,000 INDEPENDENT CONVENIENCE STORE AAA New Location. Projected Yearly Sales 1.1M + 6/49. Open 7 Am - 11 Pm. Sales in 3rd Month of Operation: $70,000/Mo + 6/49 & Other Income. Lease 5+5. Rent $7,500 Gross Includes TMI. Tobacco Sales Under 10% of Total Volume. Asking $569,000 Financing $350,000 INDEPENDENT CONVENIENCE STORE MISSISSAUGA Sales $19K - 20K/Wk + 6/49 + ATM Income: $5,000/Mo Same Ownership for Past 38 Years. Open 8 Am - 10 Pm. 60% of Sales are Tobacco Products with Good Margins. Rent: $5,500/Mo Gross Includes TMI. Sellers Discretionary Income: $14K - 16K/Mo. Asking $299,000 Financing $200,000 SOLDFIRM SOLDFIRM SOLDFIRM SOLDFIRM SOLDFIRM SOLDFIRM MIDDLE EASTERN GROCERY STORE MILTON Independent Operation. Sales $2M/Yr + 6/49. Income $30K/Yr. 2,500 SF. Lease 9+5. Rent $5,700/Mo Gross Includes TMI. Open 8AM10PM. Seller’s Discretionary Income Potential 300K - 350K/Year Financing Up To $400K SOLDFIRM FRANCHISE LOTTO COUNTER & SMOKE SHOP Subway Access. 5 Days/Wk, 8am - 4pm. Under same ownership for past 12 years. Rent 2,700/Mo Gross Incl. TMI. Easy one person operation. Hours can be extended. Closed on Holiday & Long Weekends. Seller Discretionary Earning: $60-70K/Year Asking $129,000 Financing $50,000
For franchise information, contact: Michael Lublin, President 416.274-8140 headquarters@chainsmoker.ca Halal food has never been this cool ! Ubiquity Society Social Media Marketing Strategists A specialty boutique restaurant brand! Canada’s first fast-premium barbecue concept. Selling premium quality, hand crafted, halal smoked meats & sides. Solid foundational expertise, real estate site selection, low capital investment, reasonable royalties, operations & marketing support, participation in the decision-making process. Now open in London, Milton, Etobicoke, Scarborough & Ajax. Opening soon in Vaughan & Windsor!

THE INTERNATIONAL CENTRE

OTTAWA,

TORONTO,

September

EDMONTON,

September

SASKATOON, SK October 5 & 6, 2024

MONTRÉAL, QC October 19 & 20, 2024

CALGARY, AB November 16 & 17, 2024

Saturday & Sunday: 11am - 5pm Admission: $10 TORONTO, ON SEPTEMBER 14 & 15, 2024
For tickets and more info, visit: www.torontofranchiseexpo.com Member of: Produced by: 20+ years of success connecting franchisors with new business owners across North America. Meet with North America’s most successful franchises FREE must-attend seminars on how to start and grow a business Full and part-time opportunities available at every investment level For more information visit: www.FranchiseShowInfo.com For exhibit space, contact Nadine Thompson: nadine@nationalevent.com CANADA’S LARGEST BUSINESS OWNERSHIP EVENT! 2024 SCHEDULE
ON
20 & 21
April
ON
14 & 15, 2024
AB
28 & 29, 2024
ABR, SRES, CCC * SALES REPRESENTATIVE www.torontocommercials.com 416-281-2200 bobbahreinian@gmail.com $950/Monthly HEALTH FOOD STORE INVESTMENT PROPERTY $80,000 $1,660,000 Kingston - Easy turnkey Operation. Sales over $32,000/Mo. Established over 4 decades in Canada. Great Traning and Support. Successful Franchise with Full Support. Toronto - 3 Bedroom, 2 Baths Bungalow. Building Perit to expand upto 4,420 SF of elegant living space. Fully Permitted 1,670 SF Walkout Basement. On 50 x 132 Lot. STEEL BUILDING ON 4.4 ACRE LOT PET GROOMING BUSINESS INCOME PROPERTY ART GALLERY & GIFT SHOP $590,000 $46,000 $2,399,000 $270,000 Madoc - Fully Insulated. Cemented Floor. Hwy 7 & St. Lawrence Ave. 8,800 SF Building: 40’ X 220’ for Storage. Ample Parking Space. Great Investment OSHAWA - Great income. Easy turnkey business located in a residential area. Short hours. Long established and profitable. Toronto - 100ft x 482ft lot on a Ravine. Currently an income generating property. Recently Renovated. Tenanted Large Detached House. Minutes to Shopping, 401, TTC at door. OPITCAL STORE DOCTOR’S OFFICE FOR RENT 900 Sq Ft.Fully equipped, busy location. 3 examination rooms + Office, large reception area. Lots of Parking. Pharmacy next door FREE RENT (UTILITIES EXTRA) ESTABLISHED VARIETY STORE TORONTO - Great Income. In Most Desirable Location no Immediate Competition. Nested in Residential and Commerail Ara. 8 Year Lease with Option to Renew. Low Rent. Inventory Extra. Great for Family Run Business. OSHAWA - Long Established Custom Framing Business. In Business 3.5+ Decades. Extensive Inventory. Support & Training Provided During Transition BARN FOR LEASE STORAGE USE 1 BDRM APT FOR LEASE BASEMENT APARTMENT FOR LEASE STORAGE SPACE FOR LEASE $2,000/Monthly $2,000/Monthly $2,000/Monthly COIN LAUNDROMAT OFFICE SPACE FOR LEASE Toronto - Long Established. Superb Location. 21 Wahers, 24 Dryers. All Equipment Maintaned Regularly. Good Income. Low Gross Rent. All Equip Owned. Toronto - 512 SF. Updated Office On 2nd Floor Of A Professionally Managed Building/Plaza. Lots Of Windows. 2 Washrooms In The Common Area. Recently Renovated $175,000 $950/MO Downtown TorontoEstablished for over 45 year. Sales over $600K per year. Low overhead expenses. Training available. $330,000 ESTABLISHED HAIR SALON $32,000 FLOWER SHOP FOR SALE AUTOBODY PARTS SHOP FOR SALE SPORTS ARENA AND FACILITY FOR SALE Richmond Hill - Great Income. In the heart of Richmond Hill, this floral haven has been a cherished part of the community for over 30 years, drawing in customers from far and wide with its dazzling array of floral arrangements and top-notch service. Fully stocked flowers, plants and accessories. Toronto - 30+ Years in Business. Well Established. Great Sales and Still Growing. Seller willing to train for smooth transition. Partnerships enable competitive pricing and access to the latest parts. Excellent income Fantastic location $165,900 $299,888 $2,500,000 • CALL FOR DETAILS EXTREMELY BUSY APPAREL STORE $175,000 Toronto - High Sales Volume. Selling Wholesale And Retail. Clothing, Fashion. Over 1,200 SF + Basement. Inventory($550K) Included! Toronto - Good Income. Established Clientele. Professional Setup. Desirable Location. Excellent Exposure. Fully Equipped with Full Basement. Good Lease. OFFICE SPACE FOR LEASE Toronto - 536 Sq Ft. Newly Renovated 2nd Floor Office in Well Managed building/ Plaza. Lots of Windows. 2 Washrooms. Can also Combine with other Office. London - Low Mothly Rent. 6,500 SF. Clean & Ready for Use. Cement Floor, Metal Roof & New Gravel Driveway. Drive-In Door. Mins from the City. Richmond Hill - 1 Bedroom + 1 Bath. A modern family size kitchen, spacious living/dining room, tranquil large bedroom, and spa-like bathroom await. Not to forget your own EnSuite laundry room. Toronto - Newly Renovated 2 Bedroom Basement Apartment Near Beaches For Immediate Occupancy. Never Lived-In. This Spacious Basement Apartment Boasts Newly Renovated Floors, Kitchen FARM FOR LEASE Bradford - On Hwy 400 Located at Canal Rd & Hwy 400 Intersection. Ideal for Green House & Plant Nursery & Cannabis Use. Smaller Parcels Available, Can Combine Up to 6 Acres $5,300/Mo MODERN WAREHOUSE BUILDING FOR LEASE $2,500/Monthly Madoc - 4.2 Acres Lot Including 8,800 SF with Loading Area. Building Fully Insulated. Low Monthly Rent. Steel Wall Buildings 40 x 220 in Size. Many Permitted Uses. INVESTMENT PROPERTY 1 BEDROOM + DEN CONDO UNIT $599,000 $688,000 $700/Mo Trent Hills - Located in a Desired Location. Excellent Exposure. Recently Renovated. Currently Tenanted. Great Rental Income. GTA - On Yorkville Ave., Live in the heart of Yorkville. Great for first time buyers, Immaculate unit. Live in or keep it as an investment. Toronto - Low Rent, Excellent Exposure. Newly Renovated Storage on Main Floor. 110 SF. Available Immediately. CHURCH FOR RENT Scarborough - capacity 200+ people. Available Immediately. Rent negotiable. Call Now! INDUSTRIAL BUILDING FOR SALE Richmond Hill - Professionally built-out unit with office space and large warehouse with high ceiling and truck level loading dock. $1,552,889 $60,000 CONNECT REALTY BROKERAGE Independently Owned & Operated SPA FOR SALE INVESTMENT PROPERTY FOR SALE PET GROOMING, SPA PET FOOD STORE FOR SALE ESTABLISHED RESTAURANT $198,850 GTA - Long established professional spa in a desirable affluent location in the GTA. The spa generates a very handsome income while maintaining its full service and low overheads. $599,000 $118,800 Elliot Lake - Property in an excellent practical location in Elliot Lake. Off of the hwy with a frontage over 207’. 1.16+ acres of land with an updated building over 4,500 sqft + huge basement & ample parking space. Currently a successful restaurant is in operation here. Cambridge - Thriving Business. Nestled in a vibrant and pet-friendly neighborhood. Great Income, Low Rent, Loyal Customer Base, Prime Location, Turnkey Gem, Support and Training, Limitless Potential. $199,000 Elliot Lake - Offering an exceptional dining experience in a prime location. Warm ambiance, authentic cuisine, and a loyal customer base, A staple in the local dining scene for decades. SOLD SOLD LEASED SOLD SOLD SOLD EXCLUSIVE

Near maintenance free all brick bungalow with efficient infloor heating system located in central Forest Hill/West Kitchener family friendly neighbourhood. Walking distance to schools & amenities. Parking for 4 cars. Don’t miss this op portunity to own your own home or great piece to invest.

• Beautiful resort sits on 35 acres of land with approx. 954 feet of lake front shoreline

.504 acres vacant fenced property adjacent to 115 Clarke Road also known as 7 Chaterhouse Crescent. There is 8’ x 40’ Office Trailer onsite and included. Detached 20’ x 20’ storage garage with concrete floor. Which is ideal for additional vehicle storage. Great investment opportunity, call for details. MLS®

TURNKEY AUTO BODY, REPAIR, SALES AND SERVICE OPERATION

• 3.5 hours N of Toronto. Excluding the great lakes, Lake Nipissing is the 3rd largest lake in Ontario, Canada, with over 400 km of scenic shoreline and peppered with islands

BUILD YOUR DREAM HOME ON THIS 11.2 OR 21.4 ACRE PROPERTIES

• Main Lodge is almost 10,000 sqft over four levels, five-star restaurant including commercial kitchen & full-service bar, natural stone fireplace in Gr Rm/Lounge, Library/ Upper Living Rm, Spa & work out room, prep kitchen w/dumb waiter, pub & private wine tasting cellar, office, & storefront.

Backing onto thousands of acres of crown land. Pick your building site on this mature lot. Huge natural ponds, creeks & trails near by. Builder plans available, many models to choose from. Access to Hwy17 via Hwy 539. Mins to Warren, only 30 mins to Sturgeon Falls & mins to lakes including Lake Nipissing. MLS®

• Opportunities for 4 season operations ie. conferences, weddings & banquets (Currently not operated as such - owners spend their winters south).

$4,900,000

$325,000 719B

All machinery and equipment included. Strategically located in the auto/industrial area east London/Clarke Road. East access to Veteran’s Memorial Pkwy, 401 & 402 Hwy’s. Close to auto wreckers metal scrap yards. Fantastic location, wide zoning. Plenty of room for expansion. 845 acres of land plus 2 commercial buildings. There is also included 504 acres vacant fenced property, ideal for additional vehicle storage. Great investment opportunity, call for details. MLS

DUCK CREEK RD, LAVIGNE

FOR INVESTORS!

Owner is willing to lease back for 1 - 5-year term. Solidly built all brick & maintenance free exterior, lovely 3-bdrm bungalow. Great open layout, main floor hardwood & walkout to large grilling deck. Nicely fin’d rec-room w/3 pc bath. Call Realtor direct for lease terms. EXCL

Spectacular location on West Bay of Lake Nipissing, privacy with million dollar view of Keith’s Bay. Rainbow country gem! Very rare opportunity to own this solid and well kept 3 or 4 seasons, 3 bedroom cottage including a bunkie sleep camp and detached garage with 1 manual as well as 2 roll up doors, dockage and utility shed. Don’t miss out on this great value packed cottage. Call for details. MLS®

SOLD SOLD SOLD

DEVELOPMENT LAND FOR SALE IN WARREN

Open concept hrdwd flrs & a gas FP which overlooks the kitchen/dining room & walk-out to deck. Main floor feat. master bdrm w/ensuite bath, 2nd bdrm & laundry room. Lwr lvl fin’d recMLS®

• Backing onto thousands of acres of crown land. Pick your building site on this maturated lot.

great location, great curb appeal, great project to realize an opportunity to own a solid investment. 460 Wellington St N Kitchener home is an estate sale. MLS

• Modern townhouse in Victoria Commons by Losani Homes

• Open concept main floor with dark hardwood floors

• Well maintained Municipal year-round road with school bus pickup at your driveway.

SOLD

• Enjoy peaceful living in nature with abundant wildlife. Trails near by.

• Builder plans available and many models to choose from

• Easy access to Hwy17 via Hwy 539.

• Mins to Warren, only 105 mins to Verner, 30 mins to Sturgeon Falls and 50 mins to Sudbury

• Mins to numerous lakes in the area including Lake Nipissing

• Well-appointed kitchen with stainless steel appliances

SOLD SOLD SOLD

• Spacious living room and adjoining dining area

• Three bedrooms and two full bathrooms on the third floor

• Primary bedroom with double closets and ensuite bathroom

• Convenient laundry closet on the third floor

• Finished space on the main level for rec room or guest suite with 3 pc bath & kitchenette

LOCATED ON WEST BAY LAKE NIPISSING

• Tiled foyer with inside access to the garage

This beautiful resort sits on 35 acres of land with approx 954 feet of lake front shoreline. EXCL https://vimeo.com/134835179

$158,900 $698,900

BRESLAU HOME, QUALITY-BUILT BY THOMASFIELD

Loaded w/upgrades. 2 Sheds. Rec room w/wet bar & bdrm. 3 bdrms on the upper floor. MLS®

ALL BRICK BUNGALOW

$488,900 MARKET LOFT IN THE CORE OF DOWNTOWN KITCHENER

FRIENDLY NEIGHBOURHOOD!

$888,900 LIGHT INDUSTRIAL PROPERTY WITH HOUSE

HURON PARK!

Fully customized w/top-of-the-line quality features. 2,300 sqft, main wood flrs. Fully finished bsmnt. MLS®

CHARLES DOERING

CHARLES

4 bed family home in Kitchener West/ Forest Heights. Home needs some TLC. w/hrdwd flrs. private backyard. Close to schools and shops. MLS®

Home w/many upgrades, hrdwd flring, & open concept. Modern kitchen, S/S appls. Upper lvl laundry & 3 beds. Close to amenities. MLS®

CALL FOR AN APPOINTMENT TODAY! • FREE NO OBLIGATION MARKET EVALUATION!
YOUR REAL ESTATE GPS
Charles@DoeringRealty.ca | www.DoeringRealty.ca 519 579 4110 PLATINUM CLUB 7 Consecutive Years of 100% Club Award INVESTMENT • RECREATIONAL • RESIDENTIAL CALL FOR AN APPOINTMENT TODAY! FREE NO OBLIGATION MARKET EVALUATION! 16
SALES REPRESENTATIVE ABR, SRS, SRES, CNE
519 496 7747
3 season cottage. An easy walk or bike ride to downtown and beach. Fully renovated. Don’t miss out on this great investment. MLS
FULL
SOLD SOLD
DOERING SALES REPRESENTATIVE ABR, SRS, SRES, CNE YOUR REAL ESTATE GPS 519 496 7747 Charles@DoeringRealty.ca | www.DoeringRealty.ca 519 579 4110 PLATINUM CLUB 7 Consecutive Years of 100% Club Award INVESTMENT • RECREATIONAL • RESIDENTIAL
FAMILY-FRIENDLY NEIGHBOURHOOD!
NEWLISTING NEWLISTING
SPACIOUS
NEWLISTING
TOWNHOUSE IN KITCHENER RESORT FOR SALE IN LAKE NIPISSING
omgrealestate.com Stephen M. MurphyNick Murphy SALES REPRESENTATIVE SALES REPRESENTATIVE smurphy@omgrealestate.com nick@omgrealestate.com 416-707-6563 416-849-5360 416-889-1989 PRIME RETAIL SPACE FOR LEASE ON DUNDAS WEST INVESTMENT/REDEVELOPMENT OPPORTUNITY FULLY EQUIPPED MUSKOKA RESTAURANT FOR SALE COMMERCIAL SPACE SWEET LITTLE SPOT SUCCESSFUL WHOLESALE JUICERY 9 UNIT SUCCESSFUL COFFEE CHAIN IN TORONTO SUCCESSFUL BOSTON PIZZA FOR SALE FULLY EQUIPPED FOOD TRUCK BEST TIME TO BUY 3 STOREY BRICK BUILDING IN THE HERAT OF PARKDALE RESTAURANT OPPORTUNITY QUEEN/OSSINGTON CAFE FOR SALE DUNDAS/OSSINGTON COMMISSARY AVAILABLE FOR SALE REDEVELOPMENT SITE ON KING ST WEST BUILDING & BUSINESS HOSPITALITY OPPORTUINTY RENOVATED RESTAURANT RONCESVALLEs/DUNDAS WEST COMMERCIAL SPACE FOR LEASE ON QUEEN WEST FULLY EQUIPPED QSR & EXCLUSIVE TERRITORIES EST. FRANCHISE RESTAURANT OPPORTUNITY GRAVENHURST RONCESVALLES RESTAURANT OPPORTUNITY Call for Details Call for Details Call for Details $350,000 $75,000 CALL FOR DETAILS CALL FOR DETAILS $79,000 $2,599,000 $299,000 $159,000 $99,000 $5,500,000 $6,200,000 $149,000 Call for Details $3,400/M Incl TMI $1,500,000 $299,000 • Dundas West/Ossington Strip • Approx 1,600 SF • Great Signage Opportunity • Ideal for Retail or Restaurant • High Vehicle and Foot Traffic • Land Lord will Help Build-Out • Three Buildings totaling 59 Units • 1741 Bayview Ave: 3 Storey Building & Raised Basement. 26 Units • 1502 King St West: 15 Units with Fantastic Curb Appeal on Parkdale • 1384/86 King St West: Well Maintained 3 Storey Apt Building with 18 Units • Well Maintained 10,000 SF Property • Well Known In Community • Just Under 10,000 Sq. Ft. With Large Patio & Ample Parking • Situated On 1.01 Acres Of Land • Licensed For 365 Incl. Screened In Patio • New 5 Year Lease W/ Options To Renew • Suit Any Concept * This Is A Beauty
950 Sq. Ft. Of Funky Laid-Out Space • 4.5 Year Lease W Option To Renew • Rental Rate Of Only $3,500.00 Inclusive Of Tmi • Licensed For 30 People Plus Cafe T.o. Patio • Versatile Space • Suit Many Concepts • 900 SF of Clean Open Space • In Operations for Nearly 10 Years • Serving Walk-ins and Whole Sale • Perfect fo Owner/Operator • Recepies Can be Provided • Training and Support Provided • New Lease Available • Main Floor of 16 Storey Building • $3.4 + Million In Annual Sales • New 10 Year Lease W/ 10 Year Option • Building / Land Also Available • Strong Bottom Line • Serious Enquiries Only • New 5 + 5 Year Leases • Well Known Brand • $600,000.00 In Annual Net Income • Serious Enquiries Only • Extra Wide And Ready To Go • Tssa And Esa Certified • 200,000km • 1998 Ford International Box Truck In Great Shape • Full List Of Chattels And Equipment Available Upon Request • 16.99 Ft. Frontage On Queen West And 122.00 Depth - 2,072 SF total • 4 Bedroom / 2 Bath Renovated Apt • 2,072 Sq. Ft. Retail Store On Main Floor • Good Holding Income • All Appliances Included • Excellent Investment Opportunity • Vacant Possession Possible • 1,300 Sq. Ft. Of Funky Designed Space • Full Bsmnt W/ Walk-In Fridge & Prep Area • Licensed For 93 People Coupled With Cafe T.O. Patio • 2 Year Lease W/ 5 Year Option To Renew • Rental Rate Of Only $7,000.00 / Month Inclusive Of Tmi • Great Landlord • Suit Any Type Of Concept • 1,450 Sq. Feet – 1,000 Sq, Ft. Retail & 450 Sq. Ft. Prep Kitchen • Lease: $5,950/Mo Inclusive Of Tmi • Suit Bakery / Cafe Or Other Light Food • High Pedestrian / Vehicular Traffic • Vibrant Neighbourhood • Great Retail Opportunity • Display Cabinetry, POS, All Equipment Included • 3,900 SF Prep Area + 260 SF Retail • Permitted for Food USe • 2 Hoods + Fire Spurression • 2 Walk-in Fridges • 5 Year Lease + Renwal Option • High & Dry Loever Level • Close to DVP /QEW /Downtown • Lease Only $7,800/Mo Inclusive of TMI • Redevelopment Opportunity • Lots 1-4. 7. Registered Plan 1263 • 7,558 Sq Ft (0.17 Ac) • Well Maintained 3-Storey Apartment Building Having 18 Units • Unit Mix: 6 X Bachelor. 6 X 1-Bedroom. 6 X 2-Bedroom. 18 Total • Zoning: R- Residential Detached Zone • Landmark Boston Pizza • Well Maintained Property Coupled With A Successful Business Operation • Over $3.8 Million In Annual Sales • Size Of Land: 8,751 Sq. Ft. +/• Size Of Building: 6,600 Sq. Ft. • Taxes: $22,237 (2023) • Zoning: C4 ( S331) • Beautiful And Well Laid Out Venue For Sale On Dundas West • All New Everything, Tasteful Design And High End Finished • 1,000 SF & Licensed For 30 Patrons • Ideal For Any Style Of Food • Reasonable Lease In Place 4 Years Lease With Options To Renew • Approx 1,400 SF • Surrounded By Restaurants, bars Retails and More • 16’ Exhaust Hood with Fire Suppression • Tenant To Finish • Rough ins for Bath & Kitchen • Open Concept Layout • Located on Queen East • In the Heart of the Beaches • Fully Equiped - Suits any Cuisine • 600SF + Basement • Exhaust Hood + Fire Suppression • Recently Renovated • 3 + 5 Year Lease Option • 3,900 Sf pre are + 260 Ft Retail • Permitted for Food Use • 2 Hoods + Fire Suppression • 2 Walk-in Fridge • 5 Year LEase + Renewal Option • High & Dry Lower Level • Close to DVP /QEW /Downtown • On the North end of Roncesvalles Ave • 1,800 SF + Basement • Gorgeous Open Concept Restaurant • Recently Renovated • Large Windows Facing Street • Hidden Back Room dining • Licensed for 93 People • 3 Year Lease + Renewal Option BUYING & SELLING RESTAURANTS FOR 25+ YEARS. omgrealestate.com

20 UNITS INVESTMENT PROPERTY

3 STOREY + BASMENT. OLD CABBAGETOWN, DOWNTOWN TORONTO. HIGH CAP RATE. GOOD INCOME

ASKING: $4,500,000

GOOD

Famous premium coffee franchise “GOOD EARTH COFFEEHOUSE” Turnkey, brand new fresh store will be delivered to the Buyer/ franchisee aiming around APRIL 2024 located at corner of Yonge and Pleasant Blvd in Toronto’s

CONDO COMMERCIAL UNIT

COMMERCIAL PROPERTY IN NIAGARA FALLS

SPEEDWAY AND AMUSEMENT CENTRE IN HANILTON

Great opportunity to own famous and good income business “Speedway & Amusements” operated since 2002: Including 1) Under a Mile Long Go-Kart Track with two over passes and underpass, 2) Laser Tag, 3) 4-sided Rock wall, 4) Target range, and 5)Five paintball fields, 6)Bungee Trampoline, 7) Rope Course, 8) Bubble Soccer, 9) Good Food, 10) Pro Shop with Paintball and Air Soft, located near the Hamilton Airport, Open year-round and have lots of free parking.Yearly sales 1.1M-1.2M, Net Operating Income: $250,000-$300,000/Year, Lease ends 2030 June with 5years Option to Renew Yearly Gross Rent: $58,000+HST.

$825,000

HEALTH FOOD FRANCHISE STORE STRATFORD

Great Opportunity To Have One Of Famous Canada’s Leading Health Food Franchise Stores “Nutrition House” Located At Busy “STRATFORD MALL”: CANADIAN TIRE, Bell, Dollarama, LCBO, SportChek, Tim Hortons, Winners, Fabricland, Hart house & Home, Reitmans, Marks Works Warehouse, Hallmark, Carters Osh Kosh, Coles Book Store, Hakim Optical, Busy Food Good Court, Mall Business Hours. Inventory Extra, Well-Established Business With Good Income, Easy Operation, The Seller in this business over a decade and is retiring.

$189,000

GOLF & COUNTRY CLUB

18 HOLES, 360 ACRES 2 HOURS EAST TORONTO, GREAT POTENTIAL FOR SUBDIVISION DEVELOPMENT

$20,000,000

WATERFRONT RESTAURANT WITH PROPERTY

In Severn, ON. Well Established waterfront restaurant with built-in 2 BEDROOM living quarters! Incredible opportunity to live and work on one of the most picturesque and popular spots along the Severn River! 71 seat restaurant with liquor license and dockside dining downstairs, a municipal dock next door, a two bedroom apartment upstairs, and all a short drive to downtown Coldwater & Highway 400! Fully equipped commercial kitchen, bar, new septic system, & more!

$1,199,000

GOOD EARTH COFFEEHOUSE IN CREDIT VALLEY HOSPITAL

FRANCHISE “GOOD EARTH COFFEEHOUSE” GOOD INCOME HI TRAFFIC $460,000

INDUSTRIAL BUILDING ARGENTINA RD, MISSISSAUGA. TOTAL AREA 27,110 SF, (OFFICE 19,420 SF + INDUSTRIAL 7,690 SF). ZONING E2-1, TRUCK LEVEL: 2, DRIVE IN: 1, CLEAR HEIGHT: 22, SPRINKLERS, PARKING 80, ELEVATOR FRT+PUB

$15,000,000

TRIPLEX IN DOWNTOWN TORONTO Great Investment Opportunity To Own Gorgeous Fully Renovated Legal Triplex +1 )basement. The Brochure With Rent Roll Breakdown And Detailed Property Information Available. Main Floor/2 Bedrooms, 2nd Floor/2 Bedrooms, 3rd Floor/2 Bedrooms, Basement/1 Bedroom, 4 Lain Parking At The Rear. 4 Gas Stove, 4 Fridges, 4 Microwave, 4 Washers, 4 Dryers $2,600,000
EARTH COFFEEHOUSE IN DOWNTOWN
fee
SQ FT(MAIN FL)+ 566 SQ FT(BASEMENT)
PATIO. Lease 10+5 $415,000 GOOD EARTH COFFEEHOUSE IN MISSISSAUGA HOSPITAL FAMOUS PREMIUM COFFEE FRANCHISE “GOOD EARTH COFFEEHOUSE” GOOD INCOME,HI TRAFFIC $335,000
busy Summerhill neighborhood. Franchise
$35,000 1665
and
FAMOUS PREMIUM COFFEE
NUTRITION HOUSE FAMOUS HEALTH FOOD FRANCHISE IN LONDON SHOPPING MALL CANADA’S LEADING NATIONAL HEALTH FOOD CHAIN. OPERATING IN CANADA SINCE 1979 1,542 SQ. FT. GROSS MONTHLY RENT: $ 4,934.25 + HST. TERM: 5YEARS PLUS 5 YEAR OPTION. ROYALTIES: 5% OF SALES. AD FUND: 1.5% OF SALES. AVAILABLE: SPRING 2024. INVENTORY: APPROX. $75,000 $99,000 PLAZA IN LONDON CLOSE TO UNIVERSITY GATE, GOOD INCOME WITH HIGH POTENTIAL TO BE DEVELOPMENT $14,000,000 $5,900,000 IN BUSY LOCATION AT THE CORE OF CLIFTON HILL. 2ND-FLOOR TENANT PAYS RENT $100,000 /Y, APPROX 6,000 SQ FT PLUS PARTIAL BASEMENT. THE MAIN FLOOR IS OCCUPIED OWNER OF THE BUILDING AND WILL BE VACANT POSSESSION FOR THE BUYER DIRECTOR OF MISSISSAUGA REAL ESTATE BOARD 2014, 2016, 2017, 2018, 2019, 2020, 2021, 2022 RELECTED FOR 2023, 2024 WORLD ON YONGE COMMERCIAL CONDO UNIT 1,056 SQ FT. GOOD INVESTMENT OPPORTUNITY. STREET FRONT CURRENTLY LEASED @ $4,100/MO $899,000 AURA COMMERCIAL CONDO UNIT 457 SQ FT AURA COMMERCIAL CONDO UNIT $469,000 WORLD ON YONGE COMMERCIAL CONDO 918 SQ FT LEASED TO BUBBLE TEA CAFE. GOOD INCOME. $948,000 MIXED USE COMMERCIAL PROPERTY FOR SALE STREETSVILLE, MISSISSAUGA Fully leased -1 Commercial and 7 residential unit Good income investment. ASKING $5,900,000 FAMOUS AND BAR AND GRILL FRANCHISE IN WHITBY THIS YEAR SALES 1.5M/Y EXPECTED AFTER COVID, WELL ESTABLISHED IN GROWING PACE. ASKING $550,000 MOTEL IN NIAGARA FALLS DOWNTOWN IN CLIFTON HILL, STEPS TO CASINO, NIAGARA EYES, AND TOURISTS, ALL ROOMS FULLY AIR CONDITIONED AND PRETTY UPDATED WITH FULL BATH, ROOMS: 28+5(RESIDENTIAL), OUTDOOR POOL, NOI APPROX $300330K (CAP 7-8%) ASKING $4,900,000 COMMERCIAL/RETAIL SPACE FOR LEASE IN STREETSVILLE MISSISSAUGA Gross Rent (W/TMI) $7,800. Approx. 2,330 SQ FT Zoning C4/Main St Commercial Medical Office, Retail, Office, Food related. To be verified by the buyer Great Location In The Centre Of Historical and Famous Streetsville.
Good income investment property in the downtown core, Water front, 2 Commercial condo units 11 & 12 combined Occupying full main floor, Tenant: Famous Japanese Restaurant , Lease until October, 2027, High Walking traffic, Surrounded by hi raised condos and office buildings, Approx. 3000 Sq Ft, NOI approx $100k, Maintenance Fee: $715.29/m, Tenant pays TMI and Utilities ASKING $2,500,000 4570 YONGE ST UNIT #144 264 SQ FT. YONGE AND SHEPPARD EMERALD CONDO FOOD COURT UNIT. FULL KITCHEN. GOOD INCOME INVESTMENT OPPORTUNITY ASKING $595,000 SOLD SOLDCOND

• Permitted for farm winery due to excess land

• Features 2 subterranean aging caves, production facility, receiving bay, and office

• Approximately 5000 sqft

• Seller

• Located in Wellington, Prince Edward County

• This 17-acre vineyard supplies grapes to a local winery.

• Features 146 rows of 8 ft high-density vines.

• Grape types include 6.58ac Pinot Noir, 3.52ac Chardonnay, 2.88ac Pinot Gris, and 1ac Melon de Bourgogne.

• Planted in Hillier clay loam soil.

• Zoned RU-1.

If you would like more information on the West End Plaza, interested parties must complete a confidentiality agreement to gain access to the data files.

• Possible uses include a bed-and-breakfast, or designing your own single detached dwelling.

• Located on the Millennium Trail.

• Multi-use building

• 3 commercial spaces

• 11 residential units with 8 bachelors, 1 twobedroom, 2 one-bedroom units

• 2 finished and occupied commercial retail spaces

• One 2161 sqft commercial space ready to be completed to tenants or owners specifications

• All apartment units are newly renovated and upgraded with modern appliances, incorporating the unique architectural features of the building

• Recent upgrades to the building include a new lower roof, historical restoration, security cameras, and more

• Easy access to shops, restaurants, and public transportation

• Nestled on the shores of the Bay of Quinte in Belleville

• 5 acre property

• Turnkey business opportunity combined with a waterfront residential oasis

• 50-slip marina, or opportunity to create a dream business

• Included in the sale are 4 residential bungalows, 3 apartments, 4 tiny homes, and 2 detached houses

• The main waterfront home features an inground pool, hot tub, and hardwood floors

• Explore diverse options such as vacation rentals, event hosting, and dining establishments

• The property’s mixed-use zoning (02-1) allows for endless creativity and potential

hub of Eastern Ontario

TrenTon ProPerTy

• Total site size is approximately 10.5 acres

• Building is approved and shovel ready for a preengineered 141,200 sqft building footprint

• Minutes away from the 401

• Within 20 minutes of 2 well-known Industrial Parks

• This site provides efficient access to vital transportation routes from Toronto, Ottawa, Montreal, and major markets in the United States

• The Developer is prepared to work with the end user regarding their specific building needs

• As low as 50,000 sqft could be available for lease

• Final price will be subject to final building specifications

• Estimated lead time for occupancy is approximately Q3 of 2025.

Belleville ProPerTy

• The Seller will consider VTB financing at 4% for qualified Buyer

The Trenton cluster is comprised of five properties including three buildings and two parcels of land in the heart of downtown Trenton at the main intersection of Dundas Street West and King Street. The properties offer a diverse income stream with rental upside and features Scotiabank as the anchor tenant.

The Belleville property is fully occupied with a daycare operating on the main floor, and storage space being leased to a law firm. This asset is located directly across the street from QHC

• 35.5 acres of vacant land in Prince Edward County (Demorestville)

• 660 feet of frontage on both Black Road and County Road 14.

• Zoned RU-2.

This portfolio presents investors with a unique investment opportunity to acquire centrally located assets with diverse income streams and security to the underlying cash flow from a prominent

• This property allows a range of uses, from single detached dwellings and home businesses to private home daycares.

• Non-residential options include agriculture, farming, or conservation area.

MATion, viSiT www.inveSTMenTBuildingS.cA pass you by! First time, the West End Plaza located on Dundas Street West in Trenton, is for sale! This 39,240 sq ft high-traffic plaza (two buildings) is within a short distance to two high schools, multi-unit residential buildings and new housing developments. Established in 1978, this plaza has low tenants turn-over and it is currently With 160+ parking spaces and 2.31acres in total, the plaza has plenty of staff, customer and tenant parking for 15 commercial

• Existing use is Q-Logic Water Solutions operational yard and maintenance building, which includes Trailer Park Model Home on site.

• Business and equipment are not included in price but are also available for sale.

For More inForMATion, viSiT www.weSTendPlAZA.cA Six Investment Properties $5,200,000 $9,500,000 JAMie Troke Broker oF record ekorT reAlTy lTd. Office: 613-969-9901 Cell: 613-967-7208 Email: jamie@ekortrealty.com Website: www.ekortrealty.com $2,888,000 $1,595,000 $6,395,500 (FOR LEASE) $12/PSF $6,500,000 $798,000 AWARD WINNING ARTISAN CHEESE BUSINESS FOR SALE VINEYARD FOR SALE IN PRINCE EDWARD COUNTY INVESTEMENT OPPORTUNITY IN DOWNTOWN BELLEVILLE “BUILD-TO-SUIT” INDUSTRIAL BUILDING OPPORTUNITY IN TRENTON FOR LEASE OR FOR SALE TURNKEY MARINA BUSINESS FOR SALE IN BELLEVILLE TURNKEY BUSINESS OPPORTUNITY IN PRINCE EDWARD COUNTY MLS® X7235006 MLS® X8097404 MLS® (LEASE) X8174740 MLS® (SALE) X8174728 MLS® X7268608 MLS® X7251340
Award-winning cheese manufacturing facility in Prince Edward County
Situated on 20 acres of RU-zoned
land
space
Includes retail outlet and outdoor dining area
Platinum certified
LEED
training
offers
• The Trenton Logistics Center will be a new, “build-tosuit” opportunity for industries looking to relocate or grow in the
EKORT REALTY LTD. BROKERAGE LOCAL KNOWLEDGE • GLOBAL REACH

TICKET TO

Join us at the upcoming Franchise Expo in your area and unlock a world of business opportunities, networking, and expert insights. Don't miss this chance to explore and invest in the best franchise options near your town. Your franchise dreams start here!

Join us at the upcoming Franchise Expo in your area and unlock a world of business opportunities, networking, and expert insights. Don't miss this chance to explore and invest in the best franchise options near your town. Your franchise dreams start here!

Join us at the upcoming Franchise Expo in your area and unlock a world of business opportunities, networking, and expert insights. Don't miss this chance to explore and invest in the best franchise options near your town. Your franchise dreams start here!

APRIL 12-13, 2024

APRIL 12-13, 2024

APRIL 12-13, 2024

LOS ANGELES, CA

LOS ANGELES, CA

LOS ANGELES, CA

MAY 30-JUNE 1, 2024

MAY 30-JUNE 1, 2024

MAY 30-JUNE 1, 2024

NEW YORK, NY

NEW YORK, NY

NEW YORK, NY

SEPT 6-7, 2024

SEPT 6-7, 2024

SEPT 6-7, 2024

FT. LAUDERDALE, FL

REGISTER FOR FREE WITH CODE " BIZP " www.FranchiseExpo.com

HERE TO REGISTER WITH CODE “ BIZP ” AUSTIN, TX NOV 15-16, 2024

HERE TO REGISTER WITH CODE “ BIZP ” AUSTIN, TX NOV 15-16, 2024 FT. LAUDERDALE, FL

AUSTIN, TX NOV 15-16, 2024 FT. LAUDERDALE, FL

SCAN HERE TO REGISTER WITH CODE “ BIZP ”

www.FranchiseExpo.com

YOUR
SUCCESS:
SCAN
YOUR
SCAN
TICKET TO SUCCESS: REGISTER FOR FREE WITH CODE " BIZP " www.FranchiseExpo.com
THERE’S A FRANCHISE EXPO COMING NEAR YOU!
YOUR
TICKET TO SUCCESS: REGISTER FOR FREE WITH CODE " BIZP "
Opportunity to operate your own fast growing business with the assistance of knowledgable company professional Low Franchise & Royalty Fees Online Orders with Branded App & Partners Top of the Line Equipment & Technology Comprehensive Training Program Dedicated Social Media & Marketing Team Site Selection & Lease Negotiation Assistance Single & Multi Unit Opportunities Available WOOD-FIRED PIZZA & PASTA FRANCHISE OPPORTUNITY THE WORLD NEEDS MORE PIZZA, PASTA, AND SALADS FOR FRANCHISE INFO CONTACT 647-355-1700 • franchise@doughbox.ca www.DoughBox.ca PIONEER WITH ON THE RUN GREATER TORONTO AREA NEWLY BUILT IN 2020 ASKING PRICE $5.35 MILLION PETRO WITH MCDONALD EAST OF TORONTO NEW PUMPS WITH ULTRA 94 ASKING PRICE $3.95 MILLION FULLY APPROVED LAND READY TO BUILD 50 CONDO UNITS 10,000 SQ.FT. RETAIL PLAZA ASKING PRICE $5 MILLION FULLY APPROVED LAND BUILDING PERMIT DRAWING TIM HORTON'S LEASE ASKING PRICE $2 MILLION SALE OF BUSINESS PETRO WITH CAR WASH GAS VOLUME APPROX. 9 MILLION STORE SALES $ 2.4 MILLION ASKING PRICE $799,000 SALE OF BUSINESS ESSO WITH TIM HORTONS UPPER LEVEL FOR COMMERCIAL LEASING GAS VOLUME APPROX. 5 MILLION ASKING PRICE $7.45 MILLION * CONTACT ME FOR MORE EXCLUSIVE LISTINGS* PIONEER WITH ON THE RUN GREATER TORONTO AREA NEWLY BUILT IN 2020 ASKING PRICE $5.35 MILLION PETRO WITH MCDONALD EAST OF TORONTO NEW PUMPS WITH ULTRA 94 ASKING PRICE $3.95 MILLION FULLY APPROVED LAND READY TO BUILD 50 CONDO UNITS 10,000 SQ.FT. RETAIL PLAZA ASKING PRICE $5 MILLION FULLY APPROVED LAND BUILDING PERMIT DRAWING TIM HORTON'S LEASE ASKING PRICE $2 MILLION SALE OF BUSINESS PETRO WITH CAR WASH GAS VOLUME APPROX. 9 MILLION STORE SALES $ 2.4 MILLION ASKING PRICE $799,000 SALE OF BUSINESS ESSO WITH TIM HORTONS UPPER LEVEL FOR COMMERCIAL LEASING GAS VOLUME APPROX. 5 MILLION ASKING PRICE $7.45 MILLION * CONTACT ME FOR MORE EXCLUSIVE LISTINGS* Jeremy Jayanathan Broker
*CONTACT ME FOR MORE EXCLUSIVE LISTINGS* SALE OF BUSINESS ASKING PRICE $799,000.00 ASKING PRICE $5.35 MILLIONASKING PRICE $3.95 MILLION ASKING PRICE $2 MILLION ASKING PRICE $5 MILLION ASKING PRICE $7.45 MILLION PETRO WITH CAR WASH GAS VOLUME APPROX. 9 MILLION STORE SALES $2.4 MILLION PIONEER WITH ON THE RUN GREATER TORONTO AREA NEWLY BUILT IN 2020 PETRO WITH MCDONALD’S EAST OF TORONTO NEW PUMPS WITH ULTRA 94 FULLY APPROVED LAND BUILDING PERMIT DRAWING TIM HORTON’S LEASE FULLY APPROVED LAND READY TO BUILD 50 CONDO UNITS 10,000 SQ. FT. RETAIL PLAZA ESSO WITH TIM HORTONS UPPER LEVEL FOR COMMERCIAL LEASING GAS VOLUME APPROX. 5 MILLION

INDIAN STREET FOOD

FRANCHISE OPPORTUNITY

Cleanliness: Our commitment to cleanliness is unwavering. From our sparkling kitchens to our pristine dining areas, we ensure that every aspect of our restaurants reflects the highest standards of hygiene and sanitation.

Customer Experience: At Milan, we believe in creating magical moments for our customers. From the warm welcome they receive to the attentive service they enjoy, we go above and beyond to ensure that every visit is a memorable experience.

Food Quality: Taste the difference with Milan’s exceptional food quality. Using only the freshest ingredients and authentic recipes, our cooks craft each dish with love and care, delivering flavors that transport you straight to the streets of India.

Existing Locations Available: Take advantage of established locations with builtin customer bases and proven sales.

New Development Available: Bring the Milan experience to new communities with our new development opportunities.

Full Training and Ongoing Assistance: Receive comprehensive training and support to ensure your success every step of the way.

Perfect for Owner Operators: Whether you’re a seasoned restaurateur or a firsttime entrepreneur, Milan franchises are designed for owner operators who are passionate about food and hospitality.

Initial Investment from $300,000: Start your journey with Milan with an affordable initial investment.

Opportunities Across Ontario: We have prime locations available in vibrant communities across southern Ontario, including Toronto, Mississauga, Brampton, Hamilton and more!

Don’t miss out on this incredible opportunity to be a part of the Milan family and share the flavors of India with your community. Contact us today to learn more about owning a Milan franchise and embark on a delicious journey towards success!

WWW.EATMILAN.COM/FRANCHISE Preston Watson Prakshali Desai President Founder NOW ACCEPTING APPLICATIONS JOIN OUR OBSESSION THE ULTIMATE
Why
What
Choose Milan:
We Offer:

investment opportunity for developers and business professionals

• Coveted

• Exceptional potential for future rezoning and development.

NOBLE SAHOTA Broker C: 416-889-2418 O: 905-789-6700 www.noblesahota.com noble.sahota@gmail.com 1.84 ACRE INDUSTRIAL LANDGAS STN, C-STORE BUSINESS WITH PROPERTYMIX USE PROPERTY IN COURTICE, DURHAM + CARWASH FOR SALE IN PICKERINGIN MISSISSAUGA $3,950,000 $2,499,900 $1,699,900 $2,999,990 • M2 zoned + 401 exposure • Currently a well maintained truck yard • Versatile zoning suits heavy equipment sales, transportation depots, and more.
Strategic location promises long-term rental income in a thriving industrial hub. • 1 hour from Stratford by the lake • High CAP Rate of around 13% and climbing on a 0.75-acre plot. • Gas station boasts 4 dispensers, 10 nozzles, 105,000 liters storage with varied fuel options. • Expandable convenience store and top-notch Turtle Waxequipped razor car wash. • Vendor take-back option possible with a low rate, 30% down payment. • Perfectly positioned amidst the ongoing condo boom. • This property is conveniently located near the 401 Highway and GO Station, making it an ideal
.
Dundas
and Hurontario.
2000 sq. ft. retail space paired with a 1200 sq. ft. apartment/office.
Monthly net income of $7500.
HOTEL NEAR STRATFORD THRIVING CLEANING DEPOT DRY CLEANING PLANT BY THE LAKE IN BURLINGTON IN BRAMPTON $3,700,000 $99,900 $499,990 • 27 spacious rooms with double queen beds • Motel sits on approximately 2 acres of land with a swimming pool, laundry facilities & ample parking • Nota ffiliated with any franchise, giving you more flexibility and control over your business. • Cap rate between 9-10%. • Motel is situated in a growing area with residential and commercial projects underway, increasing the potential for future appreciation and demand.
Generating over $5,000 in monthly income.
Owner’s retirement prompts the sale. • Established for nearly 15 years in a prime AAA location with favorable lease terms. • An unmissable opportunity • It’s a solid business, pulling in over $20,000 in monthly income. • The current owner even offers training for the new buyer. • This could be your chance to jump into a successful venture. WWW.TORONTOBUSINESS4U.COM OFF: 905-454-4000 | Fax: 905-463-0811 DIR: 416-898-7127 Dharminder58@hotmail.com www.Torontobusiness4u.com DIR: 647-335-5050 Jatsingh2016@hotmail.com Torontobusiness4u@gmail.com DHARMINDER NIGAH REAL ESTATE BROKER 470 Chrysler Dr. Unit#20, Brampton, ON L6S 0C1 REAL ESTATE BROKER JATINDER SINGH NIGAH ULTRAMAR/PIZZA-PIZZA/MR.SUB/COFFEE MOBIL GAS & TIM HORTONS GROCERY STORE FOR SALE WITH PROPERTY CONVENIENCE/GROCERY/LCBO/BEER/RESIDENCE/ APARTMENT FOR SALE WITH PROPERTY PIONEER GAS/MR. SUB/COUNTRY STYLE HALIBUT HOUSE FISH & CHIPSPIONEER GAS WITH ON THE RUN ESSO GAS & TIM HORTONS ESSO GAS STATION WITH RESIDENCE • Esso Branded Gas Station • Huge Convenience/Grocery Store • Separate 2 Bedrooms Apt. • Owner 1 Bedroom en-suite • LCBO/BEER Facility • Lotto/ ATM Commission • No Direct Competition • Huge potentials • Solid worry-free investment • Store Total Area 3,078 sq/ft • Grocery sales $1.1/Million • Other income $6k/m • Vape shop net income $4,500/m • Base Rent$17 per sq/ft. • Lease term 10+5 years • High mark-up on Grocery • Net take home income $15-$17/k • NO franchise fee or Royalty • Same owner from past 20 years plus • Fast Growing Franchise • Full Quick Service Restaurant • Growing Sales Volume • Food Cost 30%-32% • Royalty & AD. Fee Flat • LLBO Serve • Employment Cost 20% • Base Rent $24 per sq/ft • Lease - newer • Great exposure with Corner Location in GTA • High Gas Volume 17 M/L • ON THE RUN $2.4M • Lotto Commission • Propane $190K • ATM 35K • Modern Look • DW/FG Tanks & Lines • NO Direct Competition • Worry-free investment • Free Standing full-Service Restaurant 5,500 Sq/ft, & Patio with LLBO Serve • Seating -250 Guests In-Door & Patio 50 • Rent industry standard • Total Revenue $2.5M • Lower food cost, Royalty & Advertising fee • Located in GTA. • Need experienced buyer with solid equity • Modern Look • Gas Volume 6.5M/L • C-Store/Variety $1.2/M • Lottery Sales $475/K • Car-wash net $150/K • Located in prime area • State of the art facility • Full fledged brand new site • High ROI & worry- free investment. Call me for more details Call me for more details Call me for more details Call me for more details ESSO WITH ON THE RUN/TIM HORTONS • Gas Volume 6.5 M/L • On the Run $1.1 M • Lottery $300K • Timmies Rent $45K • ATM $6K • Other Income$30K • Recently renovated • Land 2.5 Acres • Highway Location • New Pumps & Tanks. • Reasonable asking price • Constantly Growing Sale Volume • Variety Store/Lotto/ATM • Tim Hortons Rental income • 1 Acre Land • Located in Residential Hub • Multiple Location Available PETRO-CANADA/BURGER-KING/CAR-WASH FOOD GALORE GROCERY STORE FOR SALE MONTANA’S BBQ & BAR • Gas Volume 9M/L + • C-Store $2M • Cross Lease 1C/PL • Food Franchise Income • Prime Location in GTA. • Land 1.4 Acres • Potential to add a Car-Wash • Modern New Look • Growing sale volume • Tim Hortons • Food Franchise income • Main commercial Corridor • Lotto, ATM & Air • Multiple locations available • Great Sales volume • High Marginal stores • Land/Building/Business included • NO Competiton • NO Lease/Rental Headache • High ROI • Solid worry-free investment • Residence possible • Convenience/Variety/ Grocery Store • LCBO/BEER Outlet • Lotto/ATM Commission • Solid Wood 2 Story Livable Home • 3 Bedrooms Apartment • High Marginal store • Low Expenditure cost • No Direct competition • Located at Highway 6 • High ROI • Gas Volume 6M/L • C-Store $1.1 M • Lotto $250K • Food franchise • Land 1.1 Acres • Propane, ATM, Air & Vacuum • Drive Thru facility • Gas Volume 10M/L • Cross Lease .2/CPL • Variety Store $1.4M • Lotto $650K • Rental Income $100K • DW/FG Tanks & Lines PETRO-CANADA WITH RENTAL INCOME NEW NEW NEW NEW

RAMAN DUA BROKER / CEO OFFICE/COMMERCIAL UNITS FOR SALE 2.91 ACRE LAND ZONED FOR HOTEL FOR SALE IN NIAGARA LAND PARCELS FOR SALE CALL TO INQUIRE CALL TO INQUIRE • Unit sizes range from 900 to 5,000 sqft + Option to combine. • 11 feet ceiling height • Approx 50 Units Total • 1KM to Hwy 401 & Hwy 407 • Ample Parking • In Meadowvale’s Commercial/Financial Hub of Mississauga • Estimated Occupancy Fall 2025
CONSULTING FIRMS
PROFESSIONAL OFFICES
EDUCATIONAL INSTITUTIONS
PREMIUM CAFETERIA
FINANCIAL INSTITUTIONS
IT FIRMS
START-UP VENTURES
DAY CARE +++ • Fully Serviced Prime Corner Lot • GEC Zoning (zoned for Hotel/Motel) • Located Next to Smart Centre • Easy Hwy Access • Over $1 million in incentives by the city • VTB Option Available • Exclusive for builders, developers • 14 acres of partially developed single family residential development land. • Located at 44 minutes from Calgary International Airport. • 5 fully serviced lots available in Phase-1 (50% discount for buyers of the Phase-11 land) • 16 acres of total land, services in progress • 67 Residential lots for sale • Strategically located between Edmonton and Calgary • Lot sizes from 21’ x 120’ to 44’ x 115’ • Prices begin at CAD 81,000+ • Exclusive for builders, developers • 10.08 acres land for sale • Proposed mixed use- Branded Hotel, Banquet Hall, Commercial, 3-condo towers. • Approval in process, (End of April 2024). • Great opportunity for Investors and Developers • 198.5 acres 98 Acres in Prime Location of Caledon • Northwest Corner of Hurontario Rd & The Grange Side Rd. • Land Is Mostly Flat with • Excellent Frontage Of 1523 Ft on Hurontario St and 2031 Ft on McLaughlin Rd. • Commercial land for sale • Lot size- 8.62 acres • Zoning: EMP-2 • Approval process with the Town of Milton. 905-459-7900 • commercial@savemax.ca www.savemax.com Available Uses WANTED!!! WE HAVE SERIOUS BUYERS LOOKING FOR BANQUET HALLS, PLAZAS & DEVELOPMENT PROJECTS BETWEEN $10M -$24M Beiseker, Alberta Wetaskiwin, Alberta Beamsville, Ontario Caledon, Ontario Milton, Ontario Asking: $2.95 Million (Whole Parcel) Asking: $3.25 Million (Whole Parcel) Asking: $19.0 Million Asking: $22.0 Million Asking: $13.5 Million

INVESTMENT PROPERTIES

AAA SINGLE TENANT (BEER STORE) PROPERTY IN UXBRIDGE WITH LONG LEASE;.455 ACRE LOT WITH BUILDING OF 4265 SQ FT AND 5% CAP RATE ASKING PRICE 1.535 MILLION

FULLY TENANTED WITH LONG LEASE IN KINGSTON WITH CAP RATE OF 6%; WELL MAINTAINED AND UPDATED PROPERTY WITH 1.4 ACRE LOT APREA ASKING PRICE 2.499 MILLION

8 BAY COIN CAR WASH (CURRENTLY CLOSED) BUT OPERATIONAL WITH SITE PLAN APPROVED FOR GAS STATION IN WHITBY ASKING PRICE 3.7 MILLION

GAS STATIONS FEATURED

ULTRAMAR WITH COIN CAR WASH, AND RENTAL INCOME IN TORONTO HUGE VOLUME AND INCOME ASKING PRICE 7.2 MILLION

GAS STATION POWER OF SALE ON HIGHWAY 11 CLOSE TO BARRIE BIG POTENTIAL TO BRING YOUR OWN BRAND AND FOOD PARTNER CALL FOR DETAILS

PETRO CANADA WITH PIZZA PIZZA AND CAR WASH CLOSE TO BRAMPTON GREAT ESTABLISHED LOCATION ASKING PRICE 8.0 MILLION

ULTRAMAR HIGH VOLUME GAS AND STORE SALES AND SUBWAY RENTAL INCOME EAST OF TORONTO ASKING PRICE 5.2 MILLION

SINGLE TENANT SINCE 2005 FOR CORNER COMMERCIAL PROPERTY IN BELLVILLE WITH 6% CAP AND LEASE IS FOR LONG TERM ASKING PRICE 1.9 MILLION

CORNER LAND FOR GAS STATION WITH SITE PLAN APPROVED AT ST CLAIR AND KENNEDY TORONTO LOI FROM MULTIPLE BRANDS AVAILABLE ASKING PRICE 2.7 MILLION

1.98 ACRE PROPERTY WITH TIM HORTON AND BEER STORE (RENTAL INCOME 400K), SITE PLAN APPROVED TO ADD GAS STATION -CURRENT CAP RATE OF 5.5% ASKING PRICE 7.3 MILLION

PETRO CANADA CONSIGNMENT WITH HUGE VOLUME & COMMISSION WITH STORE SALES & RENTAL INCOME (90K) ASKING PRICE 4.3 MILLION

12 UNIT APARTMENT BUILDING IN DOWNTOWN OWENSOUND FULLY TENANTED WITH NET INCOME OF 123,000 GIVING 6.3% CAP RATE ASKING PRICE 1.949 MILLION

LAND FOR GAS STATION WITH SITE PLAN APPROVED (FINCH AND MILVAN) TORONTO CORNER LOCATION – LOI ON HAND ASKING PRICE 2.4 MILLION

PETRO CANADA AND TIM HOTON TENANTED PROPERTY IN INGERSOLL CAP RATE 5% ASKING PRICE 4.2 MILLION

LAND FOR DEVELOPMENT IN KESWICK IDEAL FOR GAS STATION WITH PLAZA OR ONLY PLAZA –POWER OF SALE CALL FOR DETAILS

PETRO CANADA WITH CAR WASH AND RENTAL INCOME CLOSE TO BRAMPTON ASKING PRICE 6.8 MILLION

ESSO WITH CAR WASH, FOOD PARTNER IN TORONTO GREAT LOCATION WITH HUGE INCOME POTENTIAL ASKING PRICE 9.8 MILLION

PIONEER WITH REVISED COMMISSION AND CROSS LEASE AND HIGH VOLUME STORE SALES AND RENTAL INCOME WATERLOO REGION ASKING PRICE 7.5 MILLION

PIONEER HIGH VOLUME 18 MILLION WITH 2.5 MILLION STORE GTA LOCATION – NET INCOME 900K GREAT OPPORTUNITY ASKING PRICE 9.0 MILLION

ESSO WITH LCBO AND FOOD PARTNER CLOSE TO BRAMPTON ASKING PRICE 6.5 MILLION

ULTRAMAR WITH HIGH VOLUME GAS AND STORE SALES NORTH OF TORONTO ASKING PRICE 5.3 MILLION

WE HAVE QUALIFIED BUYERS FOR GAS STATION, FRANCHISE RESTAURANT AND BAR SO CALL US FOR QUICK AND BEST RESULTS WE ARE LOOKING FOR EXISTING RUNNING GAS STATIONS FOR 3.0 TO 8.0 MILLION - HAVE QUALIFIED BUYERS AND ALREADY APPROVED BY BANK FOR FURTHER PURCHASE OF GAS STATION. HIRING AGENTS WHO WANTS TO FOCUS ON COMMERCIAL MARKET - ATTRACTIVE PACKAGES AVAILABLE REALCAP REALTY INC Tel: 905-206-1900 Toll Free: 1.844.206.1900 5160 EXPLORER DR, UNIT 27, MISSISSAUGA ON L4W 4T7 BROKERAGE SANJIV
BROKER OF RECORD Dir: 416.399.1009 sanjiv@profinsys.ca REALCAP REALTY INC BROKERAGE Tel: 905-206-1900 Toll Free: 1.844.206.1900 5160 EXPLORER DR, UNIT 27, MISSISSUAGA ON L4W 4T7 YOUR EXPERT IN GAS STATION, LAND & HOTELS Call Me Now!
GUPTA
SOLD COND

ESSO STATION & 3 +2 BDRM BUNGALOW ON 3 ACRES LAND (HWY 12)

Esso (8.5 Million Liter/Yr), Country Style ($180,000/ Yr), Convenience Store(($700,000/Yr), | Lotto Commission($30,000/Yr) Propane($45,000/Yr), Air & Atm($13,000/Yr)

ASKING $4.9 MILLION

1,104 SqFt , Rent: $ 2,600/Mo(Inc.TMI

ACRE FARM LAND IN INNISFIL 104 Aces Of Land In Innisfil’s Fast-Growing Area, Corner Intersection Of 10th Side Road And 4th Line, Very Close To Hwy 400 And Lake Simeco.Recently New Real Estate Development In The Surrounding Area. ASKING $6.8 MILLION

Store: 1 Million/Yr, Extra Income: $650/Mo ASKING: $3,200,000 CAFE’ IN HIGH RISE OFFICE BUILDING (NORTH YORK)

INN IN ORILLIA

GOLF COURSE, WINERY & RESTAURANT

Unique investment opportunity in Ontario, beautiful combination of golf course, winery and restaurant. Well established businesses for over 30 years. Serious buyers only.

ASKING $25 MILLION ART SUPPLIES & FRAME SHOP Average Sale: $53,800/Mo, Art Sale: $36,000/Mo(45% Profit), Frame Sale: $17,800/Mo(85% Profit) Rent: $3,502/Mo(Inc.Tmi), Lease: 3 Yrs + 5 Yrs Option,, Net Profit: $27,300/Mo. ASKING $648,000 +

• Approved 1) 16 Freehold Townhouses on 1.0 Acre Vacant Land in Keswick by Lake Simcoe

• Traditional 2 to 3-Storey Wood Frame Townhouse Products with Available Walkout Models

• Freehold Townhouses with Parcels of Tied Land (POTL) of Private Road and Visit Parking

• Allocation Available - Ready to Build 2)

• Located within Existing Residential Subdivisions & Surrounded by New Residential Subdivisions

• Close to Highway 404, Lake Simcoe and All Amenities ASKING: $4,000,000

STOCK GREAT INVESTMENT OPPORTUNITY
104
The Inn has been built in the heart of Orillia, within a 15-minute walk of Couchiching Golf and Country Club and Lake Couchiching. This hotel is 8.1 mi (13 km) from Casino Rama and 17.3 mi (27.9 km) from Mount St. Louis Moonstone. • Spacious and elegantly decorated hotel suites includes Studio, Executive and Luxury suites, some featuring a gas fireplace or Jacuzzi. Each suite at our hotel offers upscale amenities. • Fitness Center with well- equipped amenities. • Luxurious Indoor pool and Hot tub. • Close to many tourist attractions including skiing, golf courses, restaurant choices, and casino. ASKING $7.8 MILLION GOLDEN RIDGE REALTY INC. BROKERAGE 905-513-8878 info@commercial-investment.ca FOOD PROCESSING BUSINESS-MISSISSAUGA 2,500 SqFt Rent: 5,000/Mo + TMI & HST, Lease: 5 Yrs + 5 Yrs Option 2 Bed Rms & 2 Wash Rooms & Living Rm On Second Floor, Sale: $600,000/Yr, 45% Profit Margin, 4 Days & 8Am-2Pm Open, Great Potential, ASKING: $289,000 DIR: 416-857-0067 DAVID LEE SALES REPRESENTATIVE BAKERY SHOP IN MALL TORONTO Sale: $30,000/Mo, Rent: $4,434/Mo(Inc.TMI), 1,061 SqFt, Lease: 5.5 Years , 7 Days & 10-7 Pm Open Simple & Easy Operating Business, No Baking & No Cooking ASKING: $148,000 ESSO GAS STATION + CONVENIENCE + ICE CREAM SHOP(WELLAND) Lot Size: 1 Acre, Building Size: 2,800 SqFt, Gas Sale: 2.7 Million Litre/Yr(Profit 5 Cent/Litre, Cross Lease 2 Cent/Litre) Convenience
& All Utilities), Lease: 4 Yrs + 5 Yrs Option. Sale: $16,000-$18,000/Mo, 5 Days & Short Hours Open ASKING: $135,000 ULTRAMAR
Gas Sale - 9.5 M - 10
APPROVED RESIDENTIAL
DEVELOPMENT
GAS STATION
M Litre/Yr, Convenience Store$1.5 M/Yr, Lotto Commission -$25,000/Yr. Gas Profits: Average 5.5 Cent/Liter, Propane - $10,000/Yr, Atm & Air: $16,000/Yr, Rental Income: $75,000/Yr-From Tim Horton ASKING: $7,000,000
TOWNHOUSE
Raj Anand Direct: 416-529-5456 rajrealtor416@gmail.com RealtorsHome.ca Broker COMMERCIAL/INDUSTRIAL/WAREHOUSE UNIT FOR SALE IN TORONTO DUAL FRANCHISE QSR BEER STORE CHICKEN FRANCHISE RUNNING FOOD FRANCHISE $199,900 $299,000$199,000 PRINCIPALS ONLY PRINCIPALS ONLY $2,290,000 $259,000 • 3 Main Floor Units Available Main street retail exposure, surrounded by industrial and retail • Unit 1 with Apartment Upstairs • Beer Store sales over $2m. convenience $750k • Owner retiring after 30 years • 1 hrs from GTA • Money making Business with property • high profits and low expense • Excellent Barrie Location • Close to College, Hospital • Surrounded by Residential Mississauga National Franchise Turnkey Location • Excellent Turn Key Operation • In A Very Busy Plaza, Anchored With National Brands • Surrounded By High Rise Buildings, Homes Etc. • Completely Renovated Store With Excellent Sales • Selling Burger, Wraps, Vegan-Gluten Free Choices, Ice Cream, Deserts, Shake And More Toronto Non Franchise Turnkey Location NOT ACTUAL LOCATION 4,800 SQ FT + APARTMENT/OFFICE $1,999,000 4,800 SQ FT + DOCK/DRIVE-IN $1,799,000 4,800 SQ FT + DOCK/DRIVE-IN $1,799,000 FLEXIBLE USE AVAILABLE: CHURCH / RELIGIOUS USE, BANQUET HALL, AUTOMOTIVE / BODY SHOP, WAREHOUSE ETC. + CONVENIENCE + HOUSE MADISON SNOWDEN REMAX IMPACT REALTY BROKERAGE INDEPENDENTLY OWNED & OPERATED BRUCE SNOWDEN APPROX 190 ACRES LOT EXCLUSIVE WATERFRONT PROPERTY CALL FOR DETAILS CALL FOR DETAILS SALES REPRESENTATIVE SALES REPRESENTATIVE 905.260.8853 905-914-8853 MADISON@SNOWDENREALTY.COM BRUCE@SNOWDENREALTY.COM IN AN EVER EXPANDING REGION NEAR PETERBOROUGH ADJACENT TO CURRENT DEVELOPMENT. ON THE TRENT SYSTEM WITH 2 DWELLINGS 3+2 BEDROOMS & 1+2 BATHS. INCREDIBLE INCOME POTENTIAL. • Featuring 2 Spacious Well Maintained Cottages! • 3Bdrm, 3Pc Bath Log Cabin & 2Bdrm, 2Pc Bath Insulated Cabin, Both With Hydro & WiFi! • Private Sandy Beach! Dock With Boat Lift + Lg Deck! • Western Exposure To Enjoy Beautiful Sunsets! • Short Boat Ride From Public Boat Ramp With Parking By Bridge! • Sheltered Area On Hardwood Island Aka Oak Island • Enjoy During Summer And Winter! • Boating,Fishing,Canoeing,Ice Fishing&Skidooing! Keep Warm With Fireplace/ Wood Stove & Electric Baseboard Backup! • Furnished, Aluminum Boat & Motor, You’re All Set For Your Tranquil Getaway! • 5 Star Rating With AirBnB • 1,800’ Of Prime Water Frontage! • 14 Well-Maintained 1,2,3 & 4 Bedroom Cottages With Kitchens & 3 Or 4 Pc Baths++! • All Overlooking The Lake & The Many Small Islands. • Approx 400’ Sandy Beach! Southern Exposure! • Sheltered Bay For Boats With Many Docking Spaces & Boat Launch!
Outbuildings, Storage, Oversize Garage, Cleaning Shack! Newer Septic System, Water System! • Year Round Rd Access & Just A Few Kms To Town. • Present Use “”Camp La Plage”” Operating Cottage And Boat Rentals!
Maintenance, Operating Equipment & Chattels Available If Needed. • Investors/ Developers Upon Approval 1 ACRE LAKE NIPISSING PROPERTY ON AN ISLAND 17 ACRE PROPERTY ON LAKE NIPISSING PRICE: $579,000 PRICE: $2,977,000 JOANNE GIROUX 289•385•1438 cathylees4homes@yahoo.ca 705•471•1814 joannegrealestate@yahoo.ca SALES REPRESENTATIVE DIRECT: SALES REPRESENTATIVE DIRECT: 416•391•3232 OFFICE: CATHY LEES

VIOLETTA BADALOV

SALES REPRESENTATIVE CELL: 416-731-9611

SHELEPIN BROKER OF RECORD CELL: 416-268-7770

SALES REPRESENTATIVE CELL: 416 879-2477

• Amazing Opportunity In New Lowell, ON

• Rare Industrial Zoning (Mr-4) Frontage 328.08 ft. 131782.43 sq.ft., 3.03 Acres With 2,480 Sq. Ft. Pole And Timber Frame, Fully Reno’d &well maintained.

• Ceiling Clearance 21 ft. Warehouse/Shop.

• East of Creemore, ON in New Lowell.

• Unlock the Potential: With over 12 years of dedicated service, we’ve transformed the lives of countless students

• Hub of Education: Nestled in an area with 66 schools and 5 colleges, we cater to a diverse community of over 300K, including more than 80,000 eager students.

• VaughanExcellent Lot 107.88 x 137.28

• Property Not On Greenbelt

• Not Restricted By York Simcoe Conservation Authority

• Great Opportunity Pre.Zoned Agricultural

• Buyer To Verify Taxes - MeasurementsZoning - Permitted Uses

• 1,500 Sqft Office/Meeting 3 Large Rooms In Heart Of Toronto Financial/ Entertainment Districts Landmark Unit End Of 3rd Floor!

• Ideal Offices For Lawyer, Accountant, Bay Street Professional.

• Direct Access To Path And The Subway

• Located in the heart of Vaughan business area, (HWY 7 & Keele)

• (Established 2006) Sign 4u Print brings you the one-stop shop for all your printing & promotion needs and more.

• Large range of products for creating large format printing.

• Proven Track Record: With a quartercentury of exp., our business has built a solid reputation for quality service

• Impressive Income: annual income ranging from $350,000 to $400,000, showcasing consistent profitability year after year.

• Turnkey Operation

• Offering over 70+ styles of marketing material $1,350,000 $249,000 $1,350,000 $1,399,000 $300,000 CAD $549,000 $199,000 $429,000

• Signs R us is a registered seller on Amazon

• Imports raw material from overseas

• Have been in business for over 15 years

• Have built trusting relationships with many different customers, with a return rate of 95%

• High growth of your investment (3050% in 18 months from the start of the building process to completion 7. Guaranteed rental income)

• Extremely low pollution

• Excellent inexpensive medicine

• Healthy Mediterranean food.

POLINA
STEVE
ROMANOS
BUYING • SELLING • LEASING 905 • 832 • 9022 INDUSTRIAL COMMERCIAL FREE STANDING WAREHOUSE TUTORING / SCHOOL BUSINESS FOR SALE LAND FOR SALE COMMERCIAL UNIT FOR SALE IN TORONTO INVEST IN CYPRUS PRINTING SHOP FOR SALE LANDSCAPING AND GARDEN BUSINESS FOR SALE PRINT SHOP FOR SALE
Mortgage expertise at your doorstep Irina Afanasieva Mortgage Specialist 647-866-4408 Irina.Afanasieva@bmo.com Mortgage expertise at your doorstep Irina Afanasieva Mortgage Specialist 647-866-4408 Irina.Afanasieva@bmo.com Mortgage expertise at your doorstep Irina Afanasieva Mortgage Specialist 647-866-4408 Irina.Afanasieva@bmo.com
30 Topflight Dr Suite 6 Mississauga ON L5S 0A8 MIRZA Z. CHAUDHARY Direct: 416.908.1575 mirzachaudhary@gmail.com Phone: 905.564.8383 Fax: 905.564.8356 globalwestrealty.com Toll free: 1.800.564.8383 BROKER Want to Sell Your Gas Station? Please Call Us For A Free Evaluation! ESSO WITH LCBO & RENTAL INCOME MOBIL WITH TIM HORTONS ESSO WITH APARTMENTS MOBIL IN KIRKLAND ESSO IN TORONTO PIONEER ESSO IN KITCHENER ESSO IN OAKVILLE $3.2 Million Req. D/P: $800,000 $5.2 Million Req. D/P: $1.0 Million $5 Million Req. D/P: $500,000 $5 Million Req. D/P: $500,000 $2.8 Million Req. D/P: $500,000 $7.9 Million Req D/P $2 M $4.2 Million Req D/P $800,000 Shell With Pizza Pizza, 1 Hour West Of Toronto. Gas Volume Is $4.5 Million Liters And Store Sales Is Over 800,000. Pizza Pizza Sales Is $18,000/Month Brand New Esso With LCBO, C-Store, Commercial and Residental Tenant. Rentrun on Investment is Over 12% Per Year Brand New Esso Gas Staiton with Store in The Centre of Toronto. Potential of 6 Million Fuel Volume and 1.5 Million Store Sales. Brand New Esso Gas Station with Extra Land for Addiotional Building. Potential of 5 Million Volume and Over 1 Million Store Sales. VTB is Available Completely Renovated Gas Station with Convenience store, Apartment and Auto Garage. 4 mons North of Brampton. Return on Investment is 12% Per Year High Volume Petro Canada on 2 Acre Land. Over $1 Million Store Sales. Carwash and Rental Income from Auto Shop and Other Commercial Teant About 70 mins West of Toronto. Gas Volume is 6 Million. Store Sales $900,000. 6 Bay Coin Car Wash is $120,000. Restaurant/UHaul Rent is $50,000 $3.8 Million Req D/P $800,000 45 Mins West of Toronto on 10 Acre Land. Gas Vol: 6 Million & Store Sales of $800,000. 1 Years Old Site Only $2.5 Million Req D/P $500,000 ESSO WITH MR. SUB ULTRAMAR WITH COIN CARWASH ESSO + COUNTRY STYLE PETRO CANADA WITH CAR WASH & OTHER RENTAL ESSO WITH TIM HORTONS SHELL GAS STATION PETRO WITH TIM HORTONS Gas Station with Carwash and Commercial Rental. Money Making and A Family Business. Five Hour Drive From Toronto $6.6 Million Req D/P $1.2 Million $5.5 Million Req D/P: $2 Million One hour drive west of Toronto. Over 10 Million volume and 1.5 Million STore Sales. Tim Hortons and Apartment. Gas Station with Esso Brand With Approved Site Plan to be Build By Buyer on a Major Street in Oakville $4.8 Million Req D/P $1 Million $2.8 Million Req D/P $500,000 GAS STATION WITH COUNTRY STYLE & MR.SUB High Volume of a 9 Million & over One Million Store Sales Very profitable gas station with 6 bay coin op car wash and a dog wash about 2.5 hours west of Mississauga. Over 5 million fuel volume and $700,000 store sale. $6.9 Million Req D/P $1.2 Million Two Years Old Petro Canada With Tim Horton, Potential Of Additional Building About 45 Minutes West Of Mississauga. Volume is 7 Million. Store Sale is 1.2 Million. Tim Hortons Rent is $90,000. $4.9 Million Req. D/P: $900,000 Esso With Completely Renovated House, Country Style & Truck Parking On 3Acres. Gas Vol. is Approx. 6 Million, Store Sales Approx $800K. Double Wall Fiber Glass Tanks & Lines With 6 Pumps. $3.9 Million Req D/P: $1Million 2 Hours North West of Toronto - Brand new Esso with Tim Hortons. Potential of 5 Million of Gas Sales, $1.2 Million of Store Sales. Rent From Tim Hortons is 6% of Gross Sales. Will Be Ready in June 2019 0007000954 9033 Leslie Street Unit 2 Richmond Hill, ON L4B 4K3 TOLL FREE: 1-877-337-1188 WWW.BIZSOLD.COM 647-330-9898 DHALIWALCOMMERCIAL@gmail.com www.DhaliwalCommercial.com Off: 416-288-0800 Toll Free: 1-877-288-0884 ARVINDER DHALIWAL REAL ESTATE BROKER/OWNER Independently Owned & Operated See Our Inside Ad For More Listings. Hiring Commercial Realtors Financing Available For Qualified Buyers MANY MORE PLAZA, GAS STATION AND LAND AVAILABLE. CALL FOR DETAILS. ALL INVESTOR’S WELCOME FOR A CONFIDENTIAL APPOINTMENT. HIRING: COMMERCIAL REAL ESTATE AGENTS. FULL TRAINING AVAILABLE. CALL FOR A CONFIDENTIAL MEETING. Approx. 50,000sq ft. RETAIL PLAZA. Projected Income: 1.4Mil. AAA Tenant LOI prospects. ASKING : $9 MIL LAND AVAILABLE IN GTA With APPROVED Site Plan to build 31 Storey Condo Building. Over 400K GFA. ASKING: $22 Mil LAND WITH APPROVAL TO BUILD PETRO CANADA WITH TIM HORTONS Excellent Rental Income. 1.5 hour from Toronto. ASKING: $7.3 Mil ASKING: 3.2Mil Gas Vol. over 9 Mil. C-Store approx. 1.2Mil, Net Profit, Approx. $350K/Yr. PIONEER GAS STATION WITH C-STORE AND RESIDENTIAL HOUSE. SELF STORAGE LAND AVAILABLE WITH APPROVALS ASKING: $1.75Mil READY to BUILT Over 250 Units. 30 mins from GTA. SIX PROPERTIES AVAILABLE WITH SITE PLAN APPROVED. Ready to Build Early Spring 2019 with TIM HORTONS, MCDONALDS, STARBUCKS, A & W LOI ‘s in place VACANT LAND 3 Lots with for Residential build. ASKING: 1.2Mil ESSO GAS STATION WITH TIM HORTONS TENANT ASKING: 4.95Mil Existing Coin Car Wash & Extra Land to build RETAIL. COMING SOON- Summer 2019. Close to 401 Exit. ESSO WITH TIM HORTONS AND RENTAL INCOME IN GTA HIGH GAS Volume ASKING: 8.5Mil. SHELL WITH TIM HORTONS AND RENTAL INCOME Gas Vol over 9 Mil. Large Acreage. ASKING: 9Mil. 0007000954 9033 Leslie Street Unit 2 Richmond Hill, ON L4B 4K3 TOLL FREE: 1-877-337-1188 WWW.BIZSOLD.COM See Our Inside Ad For More Listings. Hiring Commercial Realtors Financing Available For Qualified Buyers MANY MORE PLAZA, GAS STATION AND LAND AVAILABLE. CALL FOR DETAILS. ALL INVESTOR’S WELCOME FOR A CONFIDENTIAL APPOINTMENT. HIRING: COMMERCIAL REAL ESTATE AGENTS. FULL TRAINING AVAILABLE. CALL FOR A CONFIDENTIAL MEETING. PETRO CANADA WITH TIM HORTONS Excellent Rental Income. 1.5 hour from Toronto. ASKING: $7.3 Mil ASKING: 3.2Mil Gas Vol. over 9 Mil. C-Store approx. 1.2Mil, Net Profit, Approx. $350K/Yr. PIONEER GAS STATION WITH C-STORE AND RESIDENTIAL HOUSE. SELF STORAGE LAND AVAILABLE WITH APPROVALS ASKING: $1.75Mil READY to BUILT Over 250 Units. 30 mins from GTA. SIX PROPERTIES AVAILABLE WITH SITE PLAN APPROVED. Ready to Build Early Spring 2019 with TIM HORTONS, MCDONALDS, STARBUCKS, A & W LOI ‘s in place VACANT LAND 3 Lots with for Residential build. ASKING: 1.2Mil ESSO GAS STATION WITH TIM HORTONS TENANT ASKING: 4.95Mil Existing Coin Car Wash & Extra Land to build RETAIL. COMING SOON- Summer 2019. Close to 401 Exit. ESSO WITH TIM HORTONS AND RENTAL INCOME IN GTA HIGH GAS Volume ASKING: 8.5Mil. SHELL WITH TIM HORTONS AND RENTAL INCOME Gas Vol over 9 Mil. Large Acreage. ASKING: 9Mil.

Turn static files into dynamic content formats.

Create a flipbook
Issuu converts static files into: digital portfolios, online yearbooks, online catalogs, digital photo albums and more. Sign up and create your flipbook.