BPP 2022 Car COLOMBIA $5.000
        magen
        dBibliobús e La Piloto Primero de Colombia
        
    Colección Medellín entre líneas
          La colección Medellín entre líneas busca dar la palabra y exaltar el testimonio de tantos creadores de visiones y ficciones que nos muestran una Medellín invisible para la cartografía convencional.
          Una oportunidad para adentrarnos en novelas, cuentos, poemas, reportajes, investigaciones, crónicas y ensayos que tienen como motivo, disculpa y epicentro este conglomerado de edificios, calles y personas que reconocemos como nuestra ciudad. Una buena ocasión para encontrar en las palabras muchas maneras de vivir mejor.
          Con este nuevo título, seguimos construyendo un cenáculo de autores de diversas generaciones, reunidos en el tiempo por la magia del libro y la palabra.
          Porque las palabras funcionan.
          
              
              
            
            entre Un puente tiempos
          Un puente entre tiempos: edición conmemorativa 70 años / compilador Biblioteca Pública Piloto ; autores Alfonso Buitrago… [et al.] ; prólogo Shirley Muñoz, Federico Gutiérrez Zuluaga, Ángel Ovidio González . 2 ed. Medellín : Alcaldía, 2022. 160 p.
          ISBN: 9789588990538
          1. Bibliotecas - Antioquia 2. Biblioteca Pública Piloto de Medellín para América Latina – Historia. 3. Bibliotecas Públicas – Historia. I. Buitrago, Alfonso aut. II. Muñoz, Shirley, pr. III. Gutiérrez Zuluaga, Federico, pr. IV. González, Ángel Ovidio, pr.
          SCDD 027.48612
          BIBLIOTECA PÚBLICA PILOTO DE MEDELLÍN PARA AMÉRICA LATINA
          UN PUENTE ENTRE TIEMPOS
          Edición Conmemorativa 70 años
          © Alcaldía de Medellín, 2018 ISBN 978-958-8990-53-8 Primera edición, septiembre de 2018 Segunda edición, octubre de 2022 Medellín, Colombia
          Integrantes consejo directivo a julio de 2022
          Secretario de Cultura Ciudadana Álvaro Ósmar Narváez Díaz
          Secretario de la Juventud (E) Santiago Bedoya Moncada
          Subsecretario de Prestación del Servicio Educativo (E) Moises David López Jaramillo
          Secretaria de Educación Municipal Alexandra Agudelo Ruiz
          Administración Municipal
          Alcalde de Medellín Daniel Quintero Calle Secretario de Cultura Ciudadana Álvaro Ósmar Narváez Díaz
          Director Biblioteca Pública Piloto Ángel Ovidio González Álvarez
          Subdirector de Contenidos y Patrimonio Carlos Arturto Montoya Correa
          Subdirectora Administrativa y Financiera Claudia Rodríguez Vélez
          Subdirectora de Planeación Ana María Hernández Quirós
          Secretaria general Ruth Esteyda Palacios Ríos
          Director de la Agencia para la Gestión del Paisaje, el Patrimonio y las Alianzas Público-Privadas Rodrigo Hernán Foronda Morales
          Coordinación editorial 2018 Esteban Duperly Posada Comité editorial 2018 Shirley Milena Zuluaga Cosme María Victoria Suárez Gutiérrez Carlos Uribe Uribe María Alejandra Mercado Calvachi Valentina Bustamante Cruz
          Comité editorial 2022
          Esteban Duperly Posada Juan Miguel Villegas Jiménez Margarita Isaza Velásquez Paula Andrea Rendón Suárez
          Edición y diseño Tragaluz Editores
          Impresión Marquillas SA
          Archivos fotográficos
          Biblioteca Pública Piloto de Medellín Archivo Jairo Osorio
          Convenciones para fotografías y documentos Archivo Fotográfico Biblioteca Pública Piloto: AF-BPP Archivo Institucional Biblioteca Pública Piloto: AI-BPP Sala Antioquia Biblioteca Pública Piloto: SA-BPP
          Autores
          Alfonso Buitrago Esteban Duperly Óscar Domínguez
          Lucía Donadío Claudia Ivonne Giraldo Carlos Mario González Luis Fernando González Pilar Gutiérrez Margarita Isaza Juan Diego Mejía Juan Luis Mejía María Alejandra Mercado Jairo Morales Mónica Palacios Ana Cristina Restrepo Elkin Restrepo Juan Carlos Restrepo María Cristina Restrepo Andrés Roldán
          Manuela Saldarriaga Juan Carlos Sánchez Reinaldo Spitaletta Carlos Uribe Álvaro Velarca
          Gabriel Mario Vélez Juan Miguel Villegas Gustavo Vives Javier Gil Teresa Avedoy
          Gracias a Jorge Pérez Zabala por la expedición botánica alrededor de la biblioteca.
          La investigación titulada Biblioteca Pública Piloto de Medellín para América Latina-60 años. Una biblioteca con ciudad, de la investigadora Constanza Toro, fue fuente fundamental de consulta y suministro de datos para los autores que participaron en esta publicación y para la cronología.
          Distribución gratuita
          Esta es una publicación oficial del Distrito Especial de Ciencia, Tecnología e Innovación de Medellín. Se realiza en cumplimiento de lo dispuesto en el artículo 10 de la Ley 1474 de 2011 (Estatuto Anticorrupción), que dispone la prohibición de la divulgación de programas y políticas oficiales para la promoción de los servidores públicos, partidos políticos o candidatos.
          Queda prohibida la reproducción total o fragmentaria de su contenido sin autorización escrita de la Secretaría General del Distrito Especial de Ciencia, Tecnología e Innovación de Medellín. Así mismo, está prohibida la utilización de características de la publicación que puedan crear confusión. El Distrito Especial de Ciencia, Tecnología e Innovación de Medellín dispone de marcas registradas, algunas citadas en la presente publicación con la debida autorización y protección legal.
          Derechos reservados de los autores para textos e imágenes, 2018 y 2022. Hecho el depósito legal. Edición numerada del 501 al 1500.
          Servicios bibliotecarios en la década del 70. AI-BPP.
          
    La Biblioteca Pública Piloto en la Medellín Futuro 8 70 años de transformación cultural 9
          La Biblioteca Pública Piloto, centro y corazón cultural de Medellín
          Pág. 10 La Piloto que no fue 27
          Un puente entre tiempos y entre ciudadanos 11 Una Piloto de vidas pasadas 28
          Libros cuesta arriba 45 Línea de tiempo BPP 13 En las mangas de Otrabanda 31
          Viajes a lomo de libro 43 Gloria Inés Palomino 61
          Cronología de los talleres de escritura de la BPP 50 Qué significa ser una biblioteca piloto 21 Las formas de una biblioteca 36
          Y allí empezó todo 55 Miguel Escobar Calle 57 Luz Posada de Greiff 58 Manuel Mejía Vallejo 59
          La biblioteca de los niños
          62
          PÁGINAS 160
          Tres
          Pluralismo, educación pública y libertad, valga decir, La Piloto
          68
          Las musas sin jaula Recuerdos de años felices Reconocimientos a la BPP Una biblioteca para crear Volver a casa
          Mis amores con La Piloto
          Una colección de arte en una biblioteca
          vestigios del arte en Antioquia con pintura, cal y barro
          Una
          Un horno propio: el Fondo Editorial de la BPP Brevísimo recuento y un manifiesto de bolsillo Agradecimientos
          sala para leer a Antioquia
          74 113
        77 123
        63
        82 128
        87 101
        91 107
        95 134
        143 150
        146 152 158
        Pág. 148
        El piloto que abrió nuevos rumbos CONTENIDO
        Aquella visita a La Piloto
        El sillón del forastero
        Joyas de la Sala Antioquia
        La Torre de la Memoria y sus atlas de instantáneas
        140 Jaime Jaramillo Escobar Una Cámara de maravillas
        Separar el trigo de la paja
        Un puente entre tiempos
          Daniel Quintero Calle Alcalde de Medellín
          
          
              
              
            
            La Biblioteca Pública Piloto en la Medellín Futuro
          asta dónde podrían llegar nuestros jóvenes si no tuvieran barreras para desarrollar todo su potencial? ¿Qué ciudad tendríamos si su creatividad contara con un suelo fértil donde germinar con todo su esplendor?
          Nuestro Plan de Desarrollo Medellín Futuro 2020-2023 busca construir las bases para una ciudad en donde nos preparemos para los cambios globales que se avecinan; para que aprovechemos las oportunidades que se abren con esos cambios y solucionemos los problemas que tenemos, cultivando la energía creadora de nuestros jóvenes.
          Al eliminar las barreras de acceso a la educación estamos fortaleciendo el tejido social. Las bibliotecas, entonces, se convierten en ejes para esta transformación; son lugares donde se ejerce el derecho al gozo, a la dicha de aprender, a crecer y tejer redes alrededor del conocimiento; no son meros depósitos de letras, son espacios vivos en donde nos nutrimos de experiencias y conocimientos, donde nos enamoramos del saber.
          
    Hoy Medellín es una ciudad lectora, cada día más personas encuentran entre las letras compañía, consuelo y sabiduría. En nuestras bibliotecas se construye la identidad de los barrios y los territorios alrededor de la palabra y se entrelazan las personas que aman los libros. Los funcionarios que trabajan en ellas han entregado todo su talento contagiando su pasión por la lectura.
          Hoy celebramos 70 años de nuestra querida Biblioteca Pública Piloto de Medellín para América Latina con la publicación de este libro. Un lugar que ha servido de referencia para muchas entidades y que se guarda en la memoria de varias generaciones de antioqueños como el lugar de consulta y esparcimiento cultural por excelencia.
          La BPP es un faro que ha iluminado el desarrollo y la evolución de los procesos culturales y es salvaguarda del patrimonio fotográfico y documental de Antioquia. Pero aquí no se detiene su historia, ahora se proyecta al futuro con el museo Cámara de Maravillas y Cosmoteca Lapiloto, proyectos que seguirán llenando de orgullo y conocimiento a nuestra gente.
          8
        ¿
        Ángel Ovidio González Álvarez Director Biblioteca Pública Piloto de Medellín
          
          70 años de transformación cultural
          recer y transformarse sin dejar de servir es el reto contemporáneo que anima al servicio público y, en especial, al sector cultural y educativo. Ese desafío es la base esencial que nos motiva a celebrar la existencia de nuestra Biblioteca Pública Piloto.
          
    Somos herederos de una tradición en la que la planeación y la mirada puesta en el horizonte nos han permitido proyectarnos en entornos dinámicos y cada vez más complejos. Eso lo sabemos por el talento que nos precede y ha sabido conducir y darle reconocimiento y permanencia a una institución labrada con el espíritu de la región, además de ser alimentada con el aire universal de la Unesco.
          Se cumplen 70 años durante los cuales este río vivo del conocimiento ha ampliado su cauce de la mano de la ciudad, con un corazón vigoroso que desea palpitar en cada ciudadano.
          La memoria que gestionamos hoy tiene el reto de servir a un mayor número de ciberusuarios, quienes ya comienzan a tocar los portales de nuestra Cosmoteca Lapiloto, mientras nuevas
          generaciones buscan incansables sus raíces mediante los talleres de genealogías o el fragoroso trabajo de nuestro equipo patrimonial, que con la paciencia de un sabio rescata y salvaguarda el pasado para las nuevas generaciones.
          La institución ha contado en sus siete décadas de funcionamiento con un equipo de servidores expertos y comprometidos, que son el resultado de una vocación férrea y vivaz por juntar y recomponer las partes de una imagen inconclusa de la historia que se niega a desaparecer debido, justamente, a nuestra persistencia. O como diría Jorge Luis Borges, el incansable lector: “Somos nuestra memoria, somos ese quimérico museo de formas inconstantes, ese montón de espejos rotos”.
          En medio del quehacer cotidiano de salvaguardar y construir la memoria para tejer con ella el conocimiento del futuro, es tiempo de celebrar y conmemorar nuestra existencia, guiada por el deseo de continuar sirviendo a la sociedad y de acompañar la vocación de la ciudad y de la región en sus distintas transformaciones.
          9
        Un puente entre tiempos
          10
          Federico Gutiérrez Zuluaga Alcalde de Medellín, 2016-2019
          
          
              
              
            
            La Biblioteca Pública Piloto, centro y corazón cultural de Medellín
          os lugares que propician el encuentro ciudadano, especialmente en torno al conocimiento, han sido fundamentales en el desarrollo de Medellín. El diálogo, el trabajo comunitario y la articulación entre los distintos sectores de la sociedad permitieron que nuestra transformación se convirtiera en un referente global de innovación social y crecimiento inclusivo.
          En este camino de construcción de ciudad a partir de la palabra (oral y escrita), la Biblioteca Pública Piloto ha sido una gran aliada. Más de seis décadas palpitando con nuestros niños, jóvenes y adultos en un espacio para leer, hablar y escribir. Hace varias décadas, la Unesco vio en Medellín la posibilidad de construir un futuro próspero con la ayuda de la cultura. Nos dieron su apoyo y los ciudadanos hemos agradecido esa decisión cada que vamos a La Piloto a hacer las tareas, oír una charla o prestar un libro…
          Las bibliotecas son centros de conocimiento y aprendizaje. Los libros, su discusión, difusión
          
    y apropiación son la fuerza vital para la educación. La Piloto ha sabido desde siempre rescatar la memoria colectiva de nuestra sociedad y organizar los medios para que se amplíe nuestra historia oral. Es un orgullo para la ciudad ver cómo ha crecido y cambiado esta institución que durante tanto tiempo ha llevado con orgullo la bandera de la pluralidad, la cultura y el conocimiento.
          La Biblioteca Pública Piloto de Medellín para América Latina es un espacio para el saber y la experiencia, para la acción y la constante inspiración de las nuevas generaciones; en fin, es un universo abierto. Y ahora, además, con más fuerza y más ganas, es el polo de encuentro para que nuestra Medellín siga resurgiendo y escribiendo su historia. Que estos sean los primeros 60 de muchos años de este emblema de ciudad, que allí permanezca nuestra memoria, que incentive el conocimiento y que se extienda dentro y fuera de nuestras montañas.
          Para esta segunda edición conservamos las presentaciones de la publicación original.
          Shirley Milena Zuluaga Cosme Directora Biblioteca Pública Piloto de Medellín, 2016-2020
          
          
              
              
            
            Un puente entre tiempos y entre ciudadanos
          ay cientos de formas para describir el sector cultural, pero me aventuro a elegir una desde la luz, porque esa puede ser la metáfora más cercana a lo que este significa para una sociedad y los ciudadanos. Supongamos que se trata de frecuencias. Algo así como el espectro de la luz, que va desde el infrarrojo hasta el ultravioleta. Ahí, de manera sucesiva, vamos a distribuir todas las manifestaciones y los escenarios culturales hasta llegar al límite superior, donde yo, luego de haber recorrido por años ese espectro, pongo a las bibliotecas, pues por ellas pasan y caben todos.
          Las ubico allí porque, según mis experiencias, son lugares en donde se logran transformaciones íntimas y colectivas por medio de preguntas, lecturas, encuentros y palabras que están contenidas en libros, conversaciones, charlas, talleres, tertulias y exposiciones. Todo lo que sucede en una biblioteca contribuye a la transformación humana. Por eso, cuando me enfrenté a
          
    la decisión, escogí estar en una biblioteca donde, desde hace más de dos años, me siento feliz y con la responsabilidad de conservarla como el epicentro cultural que ha sido por décadas. Las bibliotecas son lugares donde caben los niños y los viejos, los jóvenes y los adultos, las familias y los amigos. En esa riqueza de los encuentros, cada acción tiene impacto y las historias se escriben a diario.
          Pero ¿eso mismo no sucede también, digamos, en un concierto o en un teatro? Claro; sin embargo, en una biblioteca pasa algo más. El ejercicio es de largo aliento. Hay investigación y curiosidad. Hay búsqueda de contexto. Hay intercambio de saberes. Para seguir con el ejemplo de los conciertos, en ellos hay apreciación estética y disfrute, y en las bibliotecas hay preguntas –y, con suerte, respuestas– sobre los autores de la música, sobre la historia de la música; sobre lo que hay detrás. En suma, se trasciende, se transita hacia una concepción amplia
          11
        Un puente entre tiempos
          y generosa de aquello que nos interesa. La biblioteca permite aventurarse a lo insondable.
          Las bibliotecas son el escenario natural de la búsqueda. Pero volvamos a las preguntas críticas: ¿eso no pasa, también, en internet? Desde luego. Ahí está el reto: devolverle a las bibliotecas su lugar estructurante en la sociedad. Durante siglos fueron el sitio de reunión para encontrarse y discutir. Eso que hoy llamamos tertulias, conferencias, conversatorios, y que tenemos que convocar con tanto esfuerzo, por años sucedieron de manera natural en las bibliotecas. Nadie tenía que citar. Por lo menos en nuestro caso, “nos encontramos en la Piloto” fue una frase que se acuñó sola. Eso no pasa en Google; ahí el ejercicio tiende a ser individual, mientras que lo colectivo, lo social, ocurre en una biblioteca. Y sabemos de sobra que cuando la gente se encuentra suceden cosas.
          Lo anterior es importante porque rebasa la concepción de la biblioteca como un edificio para prestar libros. Que también lo es. De hecho, es la piedra angular del servicio. En ese sentido, quienes trabajamos en ellas nos enfrentamos a un panorama de curaduría. Hoy la producción de conocimiento es tan rápida y viene de tantas fuentes que alguien tiene que separar el trigo de la paja. En el grueso universo de la
          información, el bibliotecólogo o el bibliotecario es un asesor experto. Todo eso sin entrar siquiera en la discusión de los formatos, porque las necesidades actuales no involucran solo libros. Una biblioteca como la BPP está llamada a ser el lugar más público entre lo público. Nuestro plan estratégico a 2024 nos pone la responsabilidad de ser la institución social de Medellín para América Latina. Nos guía a ser “un puente entre tiempos” y a consolidarnos como centro de discusiones e ideas. Nos invita a ser custodios y activadores de la memoria y el patrimonio de Medellín y Antioquia. A inspirar y promover aprendizajes y creaciones. Y, por último, a construir junto a otros modelos de contenidos y proyectos que promuevan la incidencia social y cultural. Las transformaciones políticas, cívicas, ambientales, es decir, las transformaciones culturales, deben pasar por acá. Y acá deben venir quienes las motivan, quienes las ponen en discusión o quienes las hacen. Nosotros comenzamos una transformación que cobija todos los ámbitos de la BPP. Por eso, la invitación es a encontrarnos de nuevo en la Piloto, ágora de Medellín y casa por naturaleza de creadores, escritores, lectores, artistas, fotógrafos, académicos, historiadores, conversadores y ciudadanos de Medellín.
          12
        las bases para la creación
          
    1954
          
    
    En enero se posesiona el primer director de la BPP, Julio César Arroyave, en ese entonces secretario de la Sociedad de Mejoras Públicas de Medellín.
          modelo en Colombia.
          El 10 de noviembre, en París, se crea la Biblioteca
          Medellín para América
          El 24 octubre, en el Palacio de Bellas Artes, sobre la avenida La Playa, comienza a prestar servicio la BPP. Ofrece un catalogo de 10.000 materiales entre libros, mapas, folletos, revistas, diapositivas, discos y películas.
          El 25 de octubre a las ocho de la mañana llega Lucio Calle, primer lector registrado de la BPP.
          En abril se establece la primera Junta Directiva
          En diciembre se abre la primera filial de la BPP en el barrio Villa Guadalupe.
          50
        Un puente entre tiempos
          y generosa de aquello que nos interesa. La biblioteca permite aventurarse a lo insondable.
          
    
    Las bibliotecas son el escenario natural de la búsqueda. Pero volvamos a las preguntas críticas: ¿eso no pasa, también, en internet? Desde luego. Ahí está el reto: devolverle a las bibliotecas su lugar estructurante en la sociedad. Durante siglos fueron el sitio de reunión para encontrarse y discutir. Eso que hoy llamamos tertulias, conferencias, conversatorios, y que tenemos que convocar con tanto esfuerzo, por años sucedieron de manera natural en las bibliotecas. Nadie tenía que citar. Por lo menos en nuestro caso, “nos encontramos en la Piloto” fue una frase que se acuñó sola. Eso no pasa en Google; ahí el ejercicio tiende a ser individual, mientras que lo colectivo, lo social, ocurre en una biblioteca. Y sabemos de sobra que cuando la gente se encuentra suceden cosas.
          Lo anterior es importante porque rebasa la concepción de la biblioteca como un edificio para prestar libros. Que también lo es. De hecho, es la piedra angular del servicio. En ese sentido, quienes trabajamos en ellas nos enfrentamos a un panorama de curaduría. Hoy la producción de conocimiento es tan rápida y viene de tantas fuentes que alguien tiene que separar el trigo de la paja. En el grueso universo de la
          información, el bibliotecólogo o el bibliotecario es un asesor experto. Todo eso sin entrar siquiera en la discusión de los formatos, porque las necesidades actuales no involucran solo libros. ser el lugar más público entre lo público. Nues tro plan estratégico a 2024 nos pone la respon sabilidad de ser la institución social de Medellín para América Latina. Nos guía a ser “un puen te entre tiempos” y a consolidarnos como cen tro de discusiones e ideas. Nos invita a ser cus todios y activadores de la memoria y el patri monio de Medellín y Antioquia. A inspirar y promover aprendizajes y creaciones. Y, por últi mo, a construir junto a otros modelos de conte nidos y proyectos que promuevan la incidencia social y cultural. Las transformaciones políticas, cívicas, ambientales, es decir, las transformacio nes culturales, deben pasar por acá. Y acá de ben venir quienes las motivan, quienes las po nen en discusión o quienes las hacen. Nosotros comenzamos una transformación que cobija to dos los ámbitos de la BPP. Por eso, la invitación es a encontrarnos de nuevo en la Piloto, ágora de Medellín y casa por naturaleza de creadores, escritores, lectores, artistas, fotógrafos, acadé micos, historiadores, conversadores y ciudada nos de Medellín.
          12
        
              
              
            
            Línea de tiempo BPP
          1954
          NÚMERO TÍTULO
          
          
              
              
            
            01
          Cronología basada en la investigación Biblioteca Pública Piloto de Medellín para América Latina-60 años. Una biblioteca con ciudad de la historiadora Constanza Toro Botero.
          1952
          1950
          
    
    La V Conferencia General de la unesco impulsa el desarrollo de bibliotecas públicas en América Latina.
          1951
          Durante la Asamblea de Bibliotecarios de las Américas, realizada en São Paulo, la unesco expone los resultados obtenidos en India con el primer proyecto de bibliotecas piloto.
          En la VI Conferencia General de la unesco se decide un proyecto de biblioteca piloto para América Latina.
          La Resolución 4432, emitida en la VII Conferencia General de la Unesco, sienta las bases para la creación de un programa de biblioteca pública modelo en Colombia.
          En enero se posesiona el primer director de la BPP, Julio César Arroyave, en ese entonces secretario de la Sociedad de Mejoras Públicas de Medellín.
          El 10 de noviembre, en París, se crea la Biblioteca Pública Piloto de Medellín para América Latina (BPP).
          El 24 octubre, en el Palacio de Bellas Artes, sobre la avenida La Playa, comienza a prestar servicio la BPP. Ofrece un catalogo de 10.000 materiales entre libros, mapas, folletos, revistas, diapositivas, discos y películas.
          1953
          En abril se establece la primera Junta Directiva de la BPP.
          El 25 de octubre a las ocho de la mañana llega Lucio Calle, primer lector registrado de la BPP.
          En diciembre se abre la primera filial de la BPP en el barrio Villa Guadalupe.
          50
        AUTORA
          1955
          La BPP comienza a fomentar actividades culturales como conciertos, conferencias, exposiciones, tertulias, proyecciones cinematográficas, clubes de lectura y concursos literarios. Se crea la sala infantil.
          1956
          En enero se presentan para aprobación de la Unesco los planos de un edificio destinado a ser la sede principal de la BPP.
          En octubre, una niña llamada Teresita Gómez ofrece un concierto de piano en la BPP.
          1957
          En septiembre comienza la construcción del edificio de la sede principal en Otrabanda.
          
    1958
          En julio comienza a rodar el Bibliobús, la unidad motorizada de los servicios de extensión.
          Se crean cuatro filiales de la BPP con el auspicio del Plan de Bibliotecas Escolares de la Secretaría de Educación Municipal. De estas, la más duradera sería la de San Antonio de Prado.
          1960
          
    La BPP comienza a asesorar la creación de proyectos bibliotecarios en Antioquia y otros departamentos. Abre nuevas filiales en la ciudad, algunas son de duración efímera.
          1961
          En junio se ocupa, aún en obra negra, el edificio de la sede principal, situado al frente de la autopista Sur y de la calle Colombia.
          Después del traslado al nuevo edificio, el 2 de octubre se reinicia el servicio al público.
          En octubre se crean las Cajas Viajeras, que llevan libros a municipios cercanos a Medellín.
          1959
          Se retira de la dirección Julio César Arroyave. El 1 de diciembre de ese año asume la dirección Rafael López Ruiz.
          1962
          
    Se crea la filial San Javier La Loma.
          1963
          La BPP realiza la XII Conferencia General de Bibliotecarios de América Latina.
          1967
          Se reciben para salvaguarda varios fondos patrimoniales del Archivo Histórico de Antioquia.
          1968
          La BPP experimenta dificultades económicas que merman de manera considerable los servicios bibliotecarios y obligan al cierre de varias filiales.
          50
        60
        1974
          
    En febrero asume la dirección Darío Alberto Restrepo Gallego.
          Luego de más de una década, finalmente se terminan las obras del edificio principal. El 12 de junio se reinaugura con la presencia de Fernando Botero y una exposición retrospectiva de su trabajo en la recién creada Sala de Arte. Durante la década de los años 70 exponen en la BPP los artistas más reconocidos del arte contemporáneo.
          1975
          
    Se crean talleres experimentales de grabado, danzas, teatro y apreciación musical, y un laboratorio de idiomas.
          1976
          A partir de esta fecha, y por varios años, la BPP acoge las proyecciones de la cinemateca El Subterráneo.
          1977
          Asume la dirección Alejandro González.
          En agosto se inaugura el auditorio, posteriormente llamado Manuel Mejía Vallejo.
          La entonces directora de comunicaciones, Gloria Inés Palomino, crea Señales de Humo, un boletín informativo con las actividades académicas y culturales.
          
    En marzo, Fernando Botero dona el óleo Pedro. A partir de entonces la sala infantil recibe el nombre de Pedrito Botero.
          Se crea la filial Tren de Papel Carlos Castro Saavedra, en el barrio Florencia.
          1978
          Se crea el Taller de Escritores con el acompañamiento de Alejandro González, director de la Biblioteca.
          Nace el Fondo Editorial de la BPP.
          Visita de Jorge Luis Borges.
          1979
          Asume la dirección Juan Luis Mejía Arango.
          70
        1980
          El 16 de noviembre se inaugura el mural La inteligencia antioqueña de Pedro Nel Gómez.
          1983
          Asume la dirección Gloria Inés Palomino.
          Se reactivan las Cajas Viajeras, esta vez llamadas Servicio Móvil de Lectura, en conjunto con la Fundación Ratón de Biblioteca.
          En abril, la Sala de Arte acoge por primera vez el Salón Nacional de Artes Visuales.
          
    1981
          El 4 de agosto se inaugura el mural Tierra, agua, aire y fuego del ceramista Pablo Jaramillo.
          1982
          Se adquiere el archivo del fotógrafo Benjamín de la Calle y se entrega en comodato a la Fundación FAES.
          1984
          Se crean los talleres de escritura para niños y jóvenes.
          1985
          Se crea la Sala Antioquia.
          1990
          Se crea el taller de escritura para mayores de 60 años, llamado Amigos de las Letras.
          1991
          Se crea la Videoteca de Antioquia para reunir material audiovisual de la región.
          1992
          Comienza el Taller de Poesía, dirigido por Jaime Jaramillo.
          1986
          Comienza a operar la filial Juan Zuleta Ferrer en Campo Valdés.
          Se crea el Centro de Información Literaria de América Latina (CILAL), que desaparece en 1999.
          
    1994
          Los fondos patrimoniales que acogía la BPP desde 1967 regresan al Archivo Histórico de Antioquia.
          1995
          
              
              
            
            90 80
          Se crea oficialmente el Archivo Fotográfico de la BPP con la compra del archivo de la Fotografía Rodríguez y el regreso del archivo de Benjamín de la Calle.
          
    1996
          Se crea la publicación periódica Escritos desde la Sala, para divulgar colecciones patrimoniales.
          1997
          Se abre una filial en el barrio El Raizal, con énfasis en público infantil.
          Se crea la sección de Archivos Personales para la salvaguarda de los archivos de personajes destacados de Antioquia.
          1998
          El material fotográfico de la Fundación FAES se salvaguarda en calidad de comodato en el Archivo Fotográfico.
          2000
          Se crean las cátedras que nutren la agenda académica, realizadas en asocio con varias universidades. 2002
          Comienza a operar la consulta en línea de documentos patrimoniales.
          2004
          Se crea el ciclo de conferencias y seminarios Aula Abierta.
          2005
          Se crea el Concurso de Cuento Infantil Pedrito Botero.
          2006
          Entra en funcionamiento la Torre de la Memoria, un edificio diseñado y construido para guardar las colecciones patrimoniales.
          2007
          La BPP comienza a operar el Sistema de Bibliotecas Públicas de Medellín.
          2012
          El Archivo Fotográfico adquiere la condición de “Registro de memoria del mundo para América Latina y el Caribe” que otorga la Unesco.
          
    2016
          Las colecciones y servicios de la BPP iniciaron su recorrido por todo Medellín.
          La BPP es declarada Bien de Interés Cultural.
          2015
          Comienzan los trabajos de repotenciación y modernización del edificio de la sede central.
          
    2016
          Asume la dirección Shirley Zuluaga.
          2017
          Se formula un nuevo plan estratégico 20182024 adaptado a las necesidades contemporáneas.
          La BPP se convierte en aliado y operador de Eventos del Libro y se crea el Salón La Piloto.
          El Centro de Documentación de Planeación Municipal llega a la Torre de la Memoria.
          00 10
        2017
          La BPP establece un convenio marco de cooperación con el Fondo de Cultura Económica de México.
          La BPP se convierte en miembro de la IFLA.
          2018
          La BPP gana convocatorias con los proyectos “Acceso al archivo sonoro” e “Inventario de patrimonio fotográfico mueble de Medellín”.
          Se inaugura el primer Tren de la Cultura, en alianza con el Metro de Medellín, mediante la exposición Los artesanos de la luz, nadaísmo 60 años.
          2019
          Se desarrolla junto con Iberbibliotecas el proyecto “Inclusión de las bibliotecas públicas en los planes de desarrollo” acompañado por la publicación guía que se entrega a las 1522 bibliotecas públicas del país.
          
    
    Se lanza el segundo Tren de la Cultura, en alianza con el Metro de Medellín: Belisario Betancur, el literato eclipsado.
          2019
          La BPP es declarada fuera de concurso en el Premio Nacional de Bibliotecas Daniel Samper Ortega. En cambio, recibe reconocimiento especial por ser un modelo a seguir en la protección y divulgación del patrimonio de la nación.
          Se crea la cátedra Archivos, Bibliotecas y Ciudad.
          2018
          Se crean seis becas para uso creativo del patrimonio dentro de la Convocatoria de Estímulos para el Arte y la Cultura de la Secretaría de Cultura Ciudadana de Medellín.
          El 18 de diciembre se abren las puertas del edificio renovado y repotenciado de la sede de Carlos E. Restrepo con tres niveles y 7500 m2
          2019
          
    El Archivo Sonoro de la Piloto recibe la Condecoración Orquídea de Oro Concejo de Medellín al Mérito Educativo.
          Se realizan alianzas con museos de la ciudad para realizar las exposiciones: Retratos de cuerpo entero, León Ruiz y Cándidas en tecnicolor de Gabriel Carvajal en el Museo de Arte Moderno de Medellín; Hacedores en el Parque Explora; Medellín, retratos de la historia y Usos colectivos del espacio público en Medellín en la Casa Museo Pedro Nel Gómez.
          Se adopta la gestión y operación técnica, administrativa y financiera de la Red de Bibliotecas del Área Metropolitana.
          La BPP logra la certificación en el marco de la norma ISO 9001:2015.
          Se traslada la filial Tren de Papel Carlos Castro Saavedra al equipamiento del coliseo multipropósito del Inder del barrio Florencia.
          10
        2020
          El 5 de marzo, se inaugura el primer museo interactivo en una biblioteca pública: el Museo Cámara de Maravillas.
          Se declara la pandemia mundial por covid-19, los servicios bibliotecarios migran a la virtualidad y logran conectar a 8.797.489 usuarios con los contenidos de La Piloto.
          
    2020
          Se articulan al Plan de Desarrollo Regional dos proyectos: “Diseño e implementación de la Biblioteca Digital de Medellín” e “Implementación del Museo Cámara de Maravillas”.
          
    2021
          Se lanza el Premio Nacional de Literatura Infantil Pedrito Botero con el apoyo del maestro Fernando Botero.
          Se da apertura a tres nuevos fondos patrimoniales: Pablo Guerrero, Juan Fernando Ospina y Carlos Rodríguez.
          2021
          Se lanza el cuarto Tren de la Cultura, en alianza con el Metro de Medellín: Mujeres, viajes literarios.
          Ángel Ovidio González Álvarez es nombrado director de la BPP.
          2022
          Se reciben los fondos personales de Juan Fernando Ospina y Pablo Guerrero para el Archivo Fotográfico.
          Se lanza el tercer Tren de la Cultura, en alianza con el Metro de Medellín, al que se suman el Instituto Nacional para Ciegos, la Fundación EPM, el Sistema de Bibliotecas Públicas de Medellín y Claro: Tren de lecturas viajeras, una biblioteca digital al alcance de tu mano.
          Regresa la librería Fernando del Paso del Fondo de Cultura Económica a las instalaciones de la BPP.
          Se crea la marca Cosmoteca Lapiloto como denominación del proyecto Biblioteca Digital de Medellín.
          Se cumplen 25 años del boletín Escritos desde la Sala de la mano del maestro Jairo Morales.
          Se conmemoran 70 años de la creación de la Biblioteca Pública Piloto de Medellín para América Latina.
          
    Se lanza la estampilla conmemorativa del aniversario.
          Se renueva la certificación del Sistema de Gestión de la BPP en la norma ISO 9000:2015.
          Se incluye al Museo Cámara de Maravillas en el Sistema de Información de Museos de Colombia.
          20
        
    TÍTULO NÚMERO
          
          
    02
          La gente le dice La Piloto.
          a designación real es Biblioteca Pública Piloto de Medellín para América Latina, y seguro por eso, a lo largo de los años, los usuarios han preferido llamarla con términos que les resultan más fáciles, o más cortos, o más cercanos. La Piloto es el más común y funciona como una suerte de “apócope cariñoso” y espontáneo. ¿Hay alguna razón para que el nombre oficial sea tan extenso? Y en especial ¿por qué Piloto?, ¿por qué América Latina? Todas esas preguntas tienen respuestas y están relacionadas con el origen de la Biblioteca, su creación y vocación.
          
          La historia comenzó en 1952 en París y la documenta muy bien la historiadora Constanza Toro en un texto de 2015, escrito con motivo de los 60 años de la BPP. Allí cuenta que el 10 de noviembre de ese año el Gobierno de Colombia y el director general de la Organización de las Naciones Unidas para la Educación, la Ciencia y la Cultura (Unesco) firmaron
          “Nos encontramos en La Piloto”, fue una frase que acuñaron de manera espontánea usuarios y lectores. AI-BPP
          PÁGINAS AUTOR 21
        O también la be pe pe, la expresión fonética de la sigla del extenso Biblioteca Pública Piloto. ¿Cuál es la historia detrás de este nombre largo y formal?
          Qué significa ser una biblioteca piloto
          Esteban Duperly 07
          Un puente entre tiempos
          un acuerdo*. Ese fue el momento exacto en el que nació la Biblioteca Pública Piloto de Medellín para América Latina.
          Se trataba del segundo esfuerzo de la Unesco para crear bibliotecas en países en desarrollo. Unos años antes, la ONU había planteado que un sistema de bibliotecas públicas gratuitas era una buena herramienta para luchar contra el analfabetismo y masificar la educación en el mundo. La idea podía funcionar muy bien en casi toda Europa y en Estados Unidos, pero países menos ricos y desarrollados planteaban retos muy complejos. De ahí que surgiera la necesidad de crear modelos diferentes para Estados diferentes. El objetivo era este: si un modelo bibliotecario lograba ponerse en funcionamiento y operar en un país con limitaciones de recursos e infraestructura, luego podría replicarse en territorios con características similares. A estos proyectos la Unesco los denominó bibliotecas piloto.
          La primera de todas se inauguró en Nueva Delhi, India, en 1951. El modelo funcionó tan bien que permitió establecer las bases para crear una réplica en el hemisferio occidental, concretamente en América Latina. Colombia inició una campaña diplomática y política ante la Unesco para ganarles la puja a otros países opcionados
          * En la investigación Constanza Toro dice: “documento firmado por José Manuel Mora Vásquez, delegado permanente del país ante la Organización de las Naciones Unidas para la Educación, la Ciencia y la Cultura,
          como Guatemala, Cuba, Chile, Costa Rica y Brasil, y al final se quedó con el proyecto.
          Naciones Unidas envió, entonces, a un observador argentino para que analizara el país por unos meses y, al final, emitiera un concepto sobre qué ciudad debía acoger a la Biblioteca. En un principio punteó Manizales, pero la Sociedad de Mejoras Públicas de Medellín consiguió que el asesor externo cambiara de opinión con un argumento cierto y potente: Medellín era un centro industrial y tenía una población obrera bastante nutrida. Las características que buscaba la Unesco apuntaban precisamente a ese espectro social, con todo lo que una clase proletaria en aumento significaba: trabajadores, niños y amas de casa con grandes necesidades de educación y esparcimiento.
          En 1952, Medellín representaba, en cierto sentido, la ciudad próspera latinoamericana, con todas su carencias e insuficiencias, pero también con más de 400 industrias, 14 librerías y una fuerte voluntad de desarrollo. Así fue como el proyecto piloto se le adjudicó a la ciudad.
          El acuerdo planteaba que la Biblioteca Pública Piloto de Medellín para América Latina debía funcionar bajo la dirección de una junta directiva compuesta por representantes del Gobierno
          en representación del Gobierno de Colombia y por el director general de la Organización de las Naciones Unidas para la Educación, la Ciencia y la Cultura; Jaime Torres Bodet en representación de esta institución”.
          22
        Reunión de trabajo de directivas de la BPP en la primera sede del Palacio de Bellas Artes. AI-BPP.
          
    23
        Un puente entre tiempos
          nacional y del departamental, de la Sociedad de Mejoras Públicas, así como dos miembros designados por la Unesco. Durante cinco años, entre 1952 y 1957, la Biblioteca estaría apadrinada, pero luego ella misma debía asumir toda la operación. La Unesco enviaría un asesor técnico externo durante 15 meses y el Gobierno nacional nombraría un director general, quien viajaría becado a otros países para aprender sobre el funcionamiento de las bibliotecas modernas. Luego regresaría a la ciudad para trabajar durante un tiempo en compañía del asesor.
          
    Julio César Arroyave, secretario de la Sociedad de Mejoras Públicas de Medellín, fue designado director en enero de 1954; en efecto, estuvo en Estados Unidos durante seis meses de ese año, cuando la Biblioteca se inauguró. Aunque ya había comenzado a operar a puerta cerrada desde marzo, mientras se clasificaban 10.000 títulos iniciales y se entrenaba al personal. Escribe Constanza Toro:
          En el edificio de Bellas Artes, en la avenida La Playa con Córdoba (calle 52 con carrera 42), se instaló un aviso luminoso de una sola cara, con la leyenda ‘Biblioteca Pública Piloto de Medellín para América Latina’, que llevaba el escudo de la Unesco en neón azul, ‘Biblioteca Pública Piloto’ en
          neón blanco y ‘de Medellín para América Latina’ en neón oro, mientras era remodelada una gran casona al frente que ocupó la sede de la Biblioteca por un quinquenio, mientras se construía el cómodo edificio que sirve de sede definitiva.
          Los proyectos piloto de la Unesco terminaron por diluirse y perdieron fuerza. Aunque en 1958
          24
        1.
        se inauguró una tercera biblioteca, esta vez en África, al parecer una vez terminado el período de apadrinamiento y supervisión, las instituciones quedaron abandonadas a su suerte. A la fecha ni Nueva Delhi ni Enugu (en Nigeria) tienen la relevancia para la que fueron creadas.
          ¿Y para el caso de América Latina? Pues la Biblioteca Pública Piloto de Medellín ha continuado
          1.
          El letrero en neón blanco, oro y azul sobre la fechada de Bellas Artes. Gabriel Carvajal. Ca 1954. AF-BPP.
          operando sin interrupción desde 1954, que no es poco tiempo. Sin duda, es el ejemplo más próspero y exitoso de aquellos tres principales proyectos bibliotecarios de la década del 50.
          
    La Unesco los creó para que fueran replicados en otros territorios. De manera que cabe preguntarse qué tanto cumplió Medellín. Solo para nombrar algunos casos: en 1958, el
          
    2.
          Vista del terreno donde se construiría el edificio para la sede principal para la BPP a principios de la década de 1960. AI-BPP.
          25 2.
        Un puente entre tiempos
          26
          departamento de Antioquia creó una red de bibliotecas rurales que estuvo asesorada por la BPP. Ha prestado asistencia técnica a Bello, Marinilla y Sonsón. Ha acompañado el montaje de bibliotecas en cárceles y colegios. El Ministerio de Educación Nacional le encomendó la tarea de asesorar al departamento de Caldas. La Biblioteca Pública de Santa Marta recibió su asesoría, así como la de Sincelejo y la Universitaria de Cartagena. Barranquilla, Montería,
          Bucaramanga y Pereira también han recibido asistencia técnica. Y a lo largo de los años, muchísimos bibliotecarios latinoamericanos han visitado la Biblioteca Pública Piloto de Medellín para América Latina con el fin de conocer el modelo de operación y llevar todos esos aprendizajes a sus países.
          ¿Le hace, entonces, justicia La Piloto a su nombre largo, complejo y formal? Juzgue el lector.
          La población infantil era uno de los segmentos a los que, desde sus inicios, le apuntó el proyecto piloto de la Unesco. AI-BPP.
          El libro más antiguo es Las siete partidas de Alfonso X, un cuerpo normativo redactado en la Corona de Castilla en el siglo XIII.
          
    terminales de buses ruidosos que dificultan aún más las condiciones de lectura y estudio.
          Esa, que en su momento fue la primera biblioteca pública de África y la mejor dotada de Nigeria, ya no es ni la sombra, y del impulso que le dio la Unesco hace 59 años apenas quedan el recuerdo y unos ingratos reportajes escritos en internet.
          
    Foto tomada de Google Maps. Última consulta, marzo de 2018.
          
    27
        La Biblioteca Central Estatal de Enugu, Nigeria, fue el primer proyecto de la Unesco en África, y el tercero en el mundo. Esta ha sido su suerte.
          26 Un puente entre tiempos
          
    
    
    
    departamento de Antioquia creó una red de bi bliotecas rurales que estuvo asesorada por la BPP. Ha prestado asistencia técnica a Bello, Ma rinilla y Sonsón. Ha acompañado el montaje de bibliotecas en cárceles y colegios. El Minis terio de Educación Nacional le encomendó la tarea de asesorar al departamento de Caldas. La Biblioteca Pública de Santa Marta recibió su asesoría, así como la de Sincelejo y la Univer sitaria de Cartagena. Barranquilla, Montería,
          La población infantil era uno de los segmentos
          
    Esteban Duperly 02-1
          
          
              
              
            
            La Piloto que no fue
          La Biblioteca Central Estatal de Enugu, Nigeria, fue el primer proyecto de la Unesco en África, y el tercero en el mundo. Esta ha sido su suerte.
          i bien un informe de la Unesco publicado en 1961 dice que para la fecha el Gobierno de Nigeria estaba tan satisfecho con el funcionamiento de la Biblioteca Central Estatal de Enugu que había aprobado un plan de desarrollo bibliotecario en el norte del país (con una inversión de 500.000 libras), al día de hoy la situación real de esa biblioteca dista mucho de aquel espíritu. El piloto africano es un proyecto fallido.
          
    
    En la actualidad es un edificio viejo, con mesas y sillas viejas y gastadas. Las colecciones bibliográficas no se han actualizado desde la década del 80 y para leer o consultar los usuarios a menudo deben llevar sus propios materiales. Tiene, además, problemas de circulación de aire, de agua y, no pocas veces, de electricidad. Como si fuera poco, está rezagada en tecnología y los alrededores se convirtieron en parqueaderos y
          terminales de buses ruidosos que dificultan aún más las condiciones de lectura y estudio.
          Esa, que en su momento fue la primera biblioteca pública de África y la mejor dotada de Nigeria, ya no es ni la sombra, y del impulso que le dio la Unesco hace 59 años apenas quedan el recuerdo y unos ingratos reportajes escritos en internet.
          Foto tomada de Google Maps. Última consulta, marzo de 2018.
          AUTOR NÚMERO
        27
        TÍTULO
        Juan Miguel Villegas 02-2
          
          Una Piloto de vidas pasadas
          En Nueva Delhi, India, se mantiene en pie, y casi intacta, la segunda biblioteca pública piloto del planeta.
          n la Biblioteca Pública de Delhi hay un macaco que, si te alcanza, te puede arrebatar las gafas, partirlas en dos mitades y arrojarlas de vuelta. Así nos lo advirtió Sudha, la directora, mientras dábamos un paseo por el jardín: un patio trasero con una franja de hierba bien podada, algunos árboles, bancas... y un macaco.
          Está ubicada al frente de la estación de trenes más vieja de la ciudad, en la que las locomotoras no paran de sonar las 24 horas. Y se conserva, por cierto, casi en el mismo estado en que quedó cuando fue inaugurada, en aquel lejano 1951, por el primer ministro Jawaharlal Nehru.
          Para encontrar un libro todavía se debe hurgar en los mismos cajones diminutos, llenos de
          
    Los proyectos bibliotecarios de la Unesco planteaban servicios móviles. En Nueva Delhi el Bibliobús aún continúa rodando.
          
    AUTOR NÚMERO TÍTULO 28 Un puente entre tiempos
        cartulinas de colores, que uno usaba en La Piloto cuando era niño. Los periódicos más antiguos se deshacen al abrir las cajas en las que se archivan. Y los libros del “depósito legal” se apilan en estanterías enclenques en las que ya no cabe una hoja más.
          Por ningún lado parece haber el menor rastro de modernización bibliotecaria. Salvo por algunos computadores. Y por la sala de internet, en la que casi ningún equipo funciona.
          Pero, a pesar de todo esto, tiene dignidad. No será un ejemplo de biblioteca contemporánea (en tiempos en los que las bibliotecas se reinventan), pero puede decir con orgullo y precisión que es una “bien conservada”. Tanto que uno se siente en un viaje de más de medio siglo hacia atrás en la máquina del tiempo.
          Es una biblioteca sorprendente. Aún mantienen rodando, por ejemplo, los Bibliobuses
          Carencias y atrasos experimenta hoy el antiguo proyecto de biblioteca piloto en la India. Pese a todo, sigue operando.
          
    
    
    encargados de llevar libros a los barrios más alejados y desprovistos. En la sala de periódicos, todos los días se leen diarios escritos en cuatro lenguas distintas: hindi, urdu, bengalí e inglés. Una pequeña sala de música le ofrece al público guitarra, violín, cítara, una pantalla plana, un tocadiscos... y un gramófono. En las salas de lectura y en los cubículos de estudio los lectores mantienen un silencio ritual.
          Si me preguntan qué pienso de La Piloto de la India, diría simplemente que es hermosa. O que creo que es una semilla. Pequeña, ordenada, contenida. Una semilla que podría secarse en un descuido. O, si se la riega y estimula, podrá desdoblarse en brote, arbusto y árbol. En bosque... (¿te imaginás, macaco?), que es lo que un país como la India se merece.
          La BPP cuenta con un total de 433.670 materiales, entre libros, audiovisuales, recursos digitales y publicaciones seriadas.
          29
        
    
              
              
            
            En las mangas de Otrabanda
          NÚMERO
          
          PÁGINAS AUTOR
          
          
    ás allá, atravesando el río, a cuyas aguas cantó alguna vez el poeta
          Epifanio Mejía, estaban las soledades, los médanos, los cenagosos suelos de zancudos y tunas, la Otrabanda, que desde tiempos coloniales se formaba (y nombraba) desde El Guayabal hasta las inmediaciones del morro El Volador. Había quebradas y charcos, como La Iguaná, La Peña, Ana Díaz, La Hueso, La Iguanacita…
          Eran días en que esas tierras anchas con rastrojos y pantanos no eran aún de engorde. Y eran comunes en la vida cotidiana nombres como Aná, Anápolis, San Ciro, El Pedregal, El Salado de Correa y el llano de Belén. La banda izquierda del Aburrá, la Otrabanda, tardaría para irse poblando hasta muy entrado el siglo XX, en un crecimiento inusitado que agregaría al paisaje chimeneas fabriles, hipódromos y estadios
          La ribera occidental del río Medellín, aún no urbanizada. Al fondo, al pie del cerro El Volador, los terrenos de Otrabanda. Andrés Ripol. Sf. AF-BPP
          31
        TÍTULO
        La Piloto se construyó al otro lado del río, en ese entonces, un punto lejano para los habitantes de Medellín que andaban con libros debajo del brazo.
          Reinaldo Spitaletta 06
          03
        Un puente entre tiempos
          de fútbol, barrios de artesanos y clases medias, y, cuando los años 60 aún eran jóvenes, una biblioteca.
          Eran puras mangas cuando se erigió el edificio de vitrales azules y traslúcidos que los curiosos miraban desde los autos y buses, pocos por cierto, que circulaban por la autopista Sur, llena de jardines en sus separadores y que desde 1945, a la altura del Naranjal, tenía una plaza de toros de estilo morisco que bifurcaba la vía. Desde lejos se notaba el aviso con letras en relieve: Biblioteca Pública Piloto de Medellín para América Latina.
          Era entonces una suerte de curiosidad en medio de una que otra casa y abundantes mangas con dormideras, mosquitos, batracios, grillos y uno que otro peregrino que se atrevía en las solitarias campiñas. La Biblioteca se erguía como un presagio de los días en que advendrían habitantes, almacenes, edificios de apartamentos, colegios, bancos e hipermercados. Para los años 50, ya estaba en sus inmediaciones el gringo Sears, que cautivaba a los de la otra parte de la ciudad con sus pomposas mercancías y vitrinas.
          En tiempos más viejos, la Alameda (hoy calle Colombia) unía a la plaza mayor o parque de Berrío con la Otrabanda. Desde 1847, y por
          insinuaciones de Tomás Cipriano de Mosquera, se planeaba un puente para conectar mundos tan disímiles. Las gentes atravesaban el río por tramos vadeables mucho antes que Enrique Haeusler, carpintero y mecánico renano, construyera el indispensable puente, que más tarde se denominaría puente Colombia.
          Eran comunes las maromas, los saltos, los frenazos, las mojadas de los que se atrevían a pasar las aguas; sobre todo las muchachas, que tenían que alzarse las polleras y combinaciones para el efecto. Cuando aún ningún negociante se inclinaba a pensar que esa franja tuviese futuro, al que sí se le ocurrió comprar lotes fue al visionario comerciante J. B. Londoño. Armó una finca que después parceló para las construcciones de donde hoy está el complejo de Suramericana y realizó transacciones con Sears, el Instituto de Crédito Territorial (ICT) y con otros particulares.
          Entre tanto, La Piloto, con una apariencia de arca de Noé, convocaba a estudiantes y curiosos de todos lados. A comienzos de los años 60, el ICT adquirió terrenos para levantar la urbanización Carlos E. Restrepo. Se avizoraba más renovación urbana. La ciudadela, vecina de la Biblioteca, se convirtió en un vividero atractivo con valor ambiental gracias a sus frutales de
          32
        2.
          1. 1. 2.
          Las mangas de Otrabanda, reemplazadas por una de las primeras intervenciones urbanísticas de Medellín: los Jardines del Río. Gabriel Carvajal. Ca 1964. AF-BPP.
          
    La Otrabanda, antes de ser tomada por la urbanización. Fotografía Rodríguez. Ca 1929. AF-BPP.
          
    33
        
    nísperos, naranjos, guayabos, mangos y guayacanes, urapanes, palmas, pencas, y otras especies que invitaban pájaros a granel.
          En ese barrio de murciélagos y búhos, de ardillas y gatos, estaba el kínder de Aurorita y desde antes había una fábrica de salchichón. La zona se llenó de estaderos y bares, con tangos y músicas del recuerdo, y en los años 60, un edificio de avanzado diseño, el de Camacol, ya era una presencia emblemática en la Otrabanda, a la que después arribarían el cine El Subterráneo, el Museo de Arte Moderno, los enamorados que se acurrucaban en las mangas de Suramericana, la escultura de Arenas Betancur. Y muchos lectores.
          La Otrabanda, con La Piloto como guía y antorcha de la cultura, abrazó festivales como Bazarte, las ferias del libro, la bohemia estudiantil.
          Y ya nadie podía decir que esa extensión de viejas mangas “quedaba muy lejos”. Los libros, los talleres de literatura, las conferencias, la visita de escritores extranjeros de alto nivel (Borges y Rulfo, por ejemplo) le dieron lustre intelectual al sector.
          Y hasta el nombre, que era más ancho y largo, que cubría más territorio, se estrechó y se quedó como referencia de los barrios Suramericana, Carlos E. y, sobre todo, de ese fragmento de tierra que La Piloto comenzó a colonizar en los albores de los años 70. Otrabanda tiene ecos de cantos de chicharras y de música de alas. Y es sinónimo de libros y lecturas, y del encanto particular que consiste en no olvidar las palabras, que en este histórico lugar de aguas y vientos siempre están presentes, activas, como síntoma de civilización.
          Se conservan 50 números de El Correo de Antioquia, primer diario noticioso del departamento. Circuló entre febrero y abril de 1875. Costaba ¼ de centavo.
          Puente de Colombia con las autopistas Sur y Norte. Para la década de los 70, Otrabanda había perdido por completo todo su carácter bucólico. Gabriel Carvajal. 1973. AF-BPP.
          35
        
              
              
            
            Las formas de una biblioteca
          NÚMERO
          
          PÁGINAS AUTOR
          
          
    Luis Fernando González
          
          a sede inicial de la Biblioteca Pública Piloto de Medellín para América Latina fue una casa provisional en la avenida La Playa, centro de la ciudad. Más tarde fue trasladada al Palacio de Bellas Artes, también en La Playa con la carrera Córdoba, donde se habilitó un espacio para libros y mesas de lectura; este cambio estuvo precedido por una polémica fuerte, pues el proyecto de la Unesco desplazaba a la tradicional Biblioteca Santander Municipal, cuyos materiales se sacaron de allí y se anexaron a una sección de la biblioteca de la Universidad de Antioquia. El hecho detonó críticas, como bien se lee en una carta dirigida al alcalde, fechada el 22 de junio de 1954, que se conserva en el Archivo Histórico de Medellín: “Jamás había llegado a pasar por nuestras mentes el que la cultura de nuestra ciudad recibiera esta clase de golpe, ya que por el contrario nos
          TÍTULO
        36
        Un puente entre tiempos
        La BPP fue el primer edificio de Medellín diseñado para ser una biblioteca. Así fue construido este espacio pionero para los lectores.
          07 04
        habíamos hecho a la idea de que la proyectada Biblioteca Piloto vendría a ser un complemento de la institución ya existente”.
          Mencionar este enfrentamiento de ideas es importante porque ilustra la concepción que los dirigentes de entonces tenían sobre las bibliotecas: pensaban que no eran espacios culturales sino depósitos de libros que se podían trasladar, como efectivamente hicieron con la Santander. Y es que en Medellín, hasta la década de 1960, nunca se había
          desarrollado una tipología arquitectónica para tal fin. Si bien hay antecedentes de bibliotecas desde 1881 (como la famosa Biblioteca de Zea), siempre fueron locales acondicionados o secciones dentro de edificios que se disponían para almacenar volúmenes o para leer. Pero jamás, hasta la aparición del proyecto de la Biblioteca Pública Piloto para América Latina, se había destinado un espacio específico. La BPP es la primera biblioteca de Medellín en términos de tipología arquitectónica.
          Construcción de la BPP. Al fondo el puente monumental de la calle Colombia. AI-BPP.
          
    37
        La BPP es la primera biblioteca en Medellín en términos de tipología arquitectónica.
          Gabriel Carvajal. 1963. AF-BPP.
          
    
    2. 2. 1.
          La sede central de la BPP, luego de demoras y algunas modificaciones, vino a inaugurarse en 1961. AI-BPP.
          
    Esto, por supuesto, se refiere al edificio definitivo, cuya construcción se llevó a cabo en terrenos de Otrabanda, un sector que durante décadas fue sitio de poblamientos aislados con algunos núcleos de pequeña urbanización, pero que para entonces había comenzado a ser llamado el “Medellín futuro”, pues allí se levantaban desarrollos urbanos muy notables y modernos, como el Estadio Atanasio Girardot, los colegios Jorge Robledo y San Ignacio, el liceo Marco Fidel Suárez, el almacén Sears y el puente monumental de Colombia (inaugurado en
          Maqueta del edificio para la sede central. Un auditorio, ubicado en el costado de la calle Colombia, no se construyó. AI-BPP.
          
    
    40
        Un puente entre tiempos
        1.
        características arquitectónicas finales evidencian que se cumplió con el objetivo pedido.
          
    En lo espacial y material, el planteamiento arquitectónico del edificio era claro: un acceso a nivel de la calle, fácil, que llamara la atención, pero no fuera ostentoso. La disposición de la entrada estaba cerca de los espacios infantiles y los lugares de préstamo. La flexibilidad en la distribución del espacio garantizaba, a su vez, la flexibilidad en el funcionamiento, la dirección y la inspección, pero también una continuidad espacial y una disposición central que se percibía en la doble altura del volumen. Es notable la inclusión de luz natural para la lectura, de ahí que la fachada occidental sea más cerrada, contrario a la oriental, que dispone de más ventanales, que también se concibieron para interesar y atraer. A todo esto se sumaron mobiliarios con una disposición funcional y otra serie de indicaciones como la decoración y la pintura. Teniendo en cuenta que la biblioteca ya no se consideraba como un simple “almacén de libros” y, por el contrario, debía ser un centro social para la comunidad, para la educación y la cultura, se construyeron espacios para exposiciones y talleres.
          A la novedad tipológica y funcional que significó una biblioteca pública en Medellín, se
          41
        La sede central de la BPP, luego de demoras y algunas modificaciones, vino a inaugurarse en 1961. AI-BPP.
          
    
    
    Maqueta del edificio para la sede central. Un auditorio, ubicado en el costado de la calle Colombia, no se construyó. AI-BPP.
          
    
    40 Un puente entre tiempos
        1. 2.
        1956), que actuaba como conector con la antigua villa, convertida en el centro de la ciudad, y posibilitaba el tránsito a barrios de occidente, como el recientemente construido La Floresta, en los terrenos del antiguo hipódromo.
          La primera piedra del edificio definitivo de la BPP se puso en un acto formal de octubre de 1954, aunque la maqueta solo se presentó 20 meses después y por la presión de la Unesco a las entidades públicas comprometidas (los gobiernos nacional, departamental y municipal) para que iniciaran las obras con prontitud. No obstante la urgencia, el comienzo de la construcción real tardó mucho más debido a trabas burocráticas y a vicisitudes. El edificio vino a inaugurarse finalmente en octubre de 1961, aunque aún sin terminar.
          El proyecto fue desarrollado por el arquitecto colombiano Alberto Velásquez (hay certeza de que fue el responsable de los planos). La Junta Directiva de La Piloto colaboró poniendo a disposición del arquitecto antecedentes, bibliografía y “el asesoramiento de un técnico norteamericano”, Charles M. Mohrhardt, a la sazón director adjunto de la Biblioteca Pública de Detroit, en Michigan, quien como experto en bibliotecología acompañó el diseño, como era usual en los proyectos piloto de la Unesco. Las
          características arquitectónicas finales evidencian que se cumplió con el objetivo pedido.
          En lo espacial y material, el planteamiento arquitectónico del edificio era claro: un acceso a nivel de la calle, fácil, que llamara la atención, pero no fuera ostentoso. La disposición de la entrada estaba cerca de los espacios infantiles y los lugares de préstamo. La flexibilidad en la distribución del espacio garantizaba, a su vez, la flexibilidad en el funcionamiento, la dirección y la inspección, pero también una continuidad espacial y una disposición central que se percibía en la doble altura del volumen. Es notable la inclusión de luz natural para la lectura, de ahí que la fachada occidental sea más cerrada, contrario a la oriental, que dispone de más ventanales, que también se concibieron para interesar y atraer. A todo esto se sumaron mobiliarios con una disposición funcional y otra serie de indicaciones como la decoración y la pintura. Teniendo en cuenta que la biblioteca ya no se consideraba como un simple “almacén de libros” y, por el contrario, debía ser un centro social para la comunidad, para la educación y la cultura, se construyeron espacios para exposiciones y talleres.
          A la novedad tipológica y funcional que significó una biblioteca pública en Medellín, se
          41
        sumó una organización formal que la emparentó con la arquitectura de vanguardia que se desarrollaba entonces en la ciudad: aquella influida por los maestros de la CIAM (Congreso Internacional de Arquitectura Moderna), evidenciada en su largo volumen horizontal de dos pisos, acentuada con la terraza de remate, las franjas
          con los grandes ventanales al oriente, la suave curvatura para adaptarse al lote, la columnata que enmarca el acceso en la parte lateral sur (tanto al oriente como al occidente), los pilotis o columnas redondeadas dispuestas de manera ortogonal, esbeltas, todavía más en la doble altura del espacio central, entre otros aspectos propios de la arquitectura del movimiento moderno. El edificio de la Biblioteca Pública Piloto de Medellín para América Latina se concibió en la década de los años 60 como un discreto pero adecuado volumen, implantado en una curva urbana donde, en aquel entonces, se levantaba el futuro arquitectónico de la ciudad.
          2. 1. 2.
          A partir de la entrada en operación, el edificio de la BPP se convirtió en un ícono de la ciudad. Gabriel Carvajal. 1963. AF-BPP.
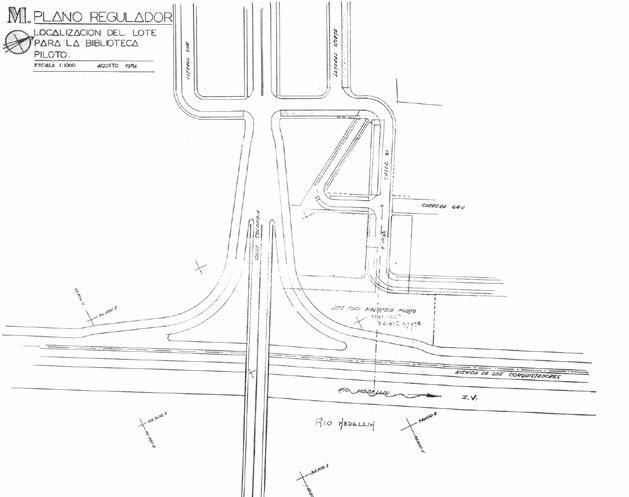
          Cruce de la calle Colombia con la autopista. Detalle del plan regulador para Medellín. 1954. Archivo Histórico de Medellín.
          
    
    1.
        
              
              
            
            Viajes a lomo de libro
          NÚMERO
          
          PÁGINAS AUTORA
          
          
    Gloria Inés Palomino 02
          
          on la apertura de La Piloto se iniciaron en Medellín los servicios bibliotecarios de extensión. Su lema, de acuerdo con el primer manifiesto para las bibliotecas públicas de la Unesco, fue “llevar el libro al lector”. Esto significaba llevar recursos bibliográficos a regiones y espacios que carecían de ellos por razones geográficas, de seguridad, edad de las personas, limitaciones físicas, recursos económicos, vías de comunicación, etcétera.
          Las sedes descentralizadas de la BPP (antes llamadas sucursales, hoy filiales) se crearon con ese propósito. Durante décadas han estado unidas a otros servicios descentralizados, como las Cajas Viajeras, los puestos de lectura y el Bibliobús, que, entre finales de los años 50 y comienzos de los 80, hicieron presencia en cerca de 30 barrios de la ciudad. En su tiempo, el Bibliobús paraba en 64 puntos de encuentro y más de
          43
        TÍTULO
        Desde sus comienzos, la BPP quiso ser un proyecto en movimiento. Libros que andan el camino que los separa de los lectores.
          05
        44 Un puente entre tiempos
          
    100 Cajas Viajeras llegaron por tierra, agua o aire a municipios remotos de Antioquia. Estas cifras han convertido a los servicios de extensión en el programa de mayor cobertura de la BPP.
          Pero volviendo a las filiales, ellas tejieron en la ciudad una red de servicios que, apropiada por la colectividad, ayudó a generar bibliotecas comunitarias, parroquiales, de cajas de compensación, etcétera. Hubo quienes supieron aprovecharlas y, llevados por la fascinación de los libros, alcanzaron sus expectativas de vida. Por ejemplo: en el Tren de Papel Carlos Castro Saavedra, en el barrio Florencia, dos vagones guardan la historia de jóvenes y niños consagrados que hoy son profesionales. En la filial Juan Zuleta Ferrer (en Campo Valdés), la comunidad, con una labor de formación artesanal y participación social, desterró la violencia, la prostitución y otros males que los aquejaban. La filial de San Antonio de Prado pasó años compartiendo espacio con el calabozo municipal. San Javier La Loma ha ayudado a aliviar problemas en una zona de grandes conflictos. Otras tantas historias se cuentan en Villatina, El Raizal y La Esperanza. En todas estas filiales hay testimonios de niños y jóvenes desplazados que, con temor y sorpresa, encuentran su punto seguro en las bibliotecas. O el adulto que, tras una vida de
          lucha, quiere mostrar el territorio que forzosamente dejó. Por todos estos hechos, las bibliotecas filiales y los servicios de extensión son, en sí mismos, buena parte de la razón de ser de la BPP y están ya dentro de su historia.
          Primera filial de la BPP, en Villa de Guadalupe. AI-BPP.
          
              
              
            
            Libros cuesta arriba
          NÚMERO
          
          PÁGINAS AUTOR
          
          
    Juan Carlos Sánchez
          
          urante mucho años estudiantes y trabajadores que bajaban por las calles inclinadas del barrio Floresta de la Comuna 5, vieron dos vagones de ferrocarril que descansaban en la zona verde que rodeaba la parroquia de san Agustín. ¿Cómo es eso posible? Pues en 1979, a un jubilado de los Ferrocarriles Nacionales y vecino del sector se le ocurrió la idea de traerlos desde unos talleres abandonados en Bello, y subirlos cuesta arriba.
          La idea tenía sentido porque allí se crearía un lugar muy especial. Para entonces, la Biblioteca Pública Piloto tenía un reconocimiento amplio por los espacios singulares que habilitaba como puestos de lectura en fábricas y hospitales. Además, aún estaba fresco el recuerdo de un Blibliobús que se paseaba repleto de libros. El móvil metal recorría las calles anunciando el préstamo de textos con la siguiente voz
          TÍTULO
        45
        La historia de una biblioteca que funcionó dentro de un tren detenido en una loma empinada.
          05 06
        Un puente entre tiempos
          amplificada por un megáfono: “Todas las semanas vendrá a este lugar de la ciudad la Biblioteca Móvil y permanecerá aquí por dos horas con libros para prestarlos por 15 días a todos los que quieran leer y educarse. Para prestarlos por 15 días es necesario acercarse a la Biblioteca Móvil y registrarse como lector, obtener la tarjeta correspondiente y comprometerse a tratar bien los libros”.
          De modo que cuando se planteó el proyecto de construir una filial de la BPP en aquel terreno vecino a la parroquia, la idea de ponerla a funcionar dentro de unos vagones de tren resultó bastante atractiva. Y ahí es donde entra en escena la feliz coincidencia del señor Saulo Jaramillo, el vecino que hizo todas las gestiones para contactar a los administradores de los Ferrocarriles Nacionales, otrora Ferrocarril de Antioquia. Con ellos se decidió y se acordó que la entidad cedería por comodato dos piezas ferroviarias de madera y metal (con todo y ruedas) y la parroquia de San Agustín aportaría y abonaría un terreno (un plano en plena loma escarpada) para la naciente biblioteca.
          
    Ahora bien, trasladar dos vagones desde la base del valle, desafiando la gravedad y la pendiente, no resultaba nada fácil. El operativo demandó una logística de equipos y personal a tal
          punto que los vecinos vieron interrumpida su cotidianidad. La sorpresa fue inmensa cuando vieron dos vagones de madera pintada escalando la pendiente. Así lo recuerda Gloria Londoño, habitante del barrio y testigo: “La gente abandonó lo que estaba haciendo y salió por ventanas y puertas a ver aquel espectáculo. Hasta dijimos que no era para una biblioteca sino para una estación de tren”. 1.
          46
        2. 1.
          Dos vagones recuperados del antiguo Ferrocarril de Antioquia fueron convertidos en sala de lectura. AI-BPP.
          
    
    El entonces director de la BPP, Alejandro González, inaugura la filial en el barrio Florencia. Fabio Restrepo. 1979. AF-BPP.
          
    47 2.
        48 Un puente entre tiempos
          El nombre de la filial se extrajo de un prólogo que el poeta Carlos Castro Saavedra escribió para un texto del entonces director de la BPP, quien también escribía poesía. La cita decía así: “Parte, como en un tren de papel, hacia él mismo y hacia sus semejantes, hacia el mar y hacia las estrellas que casi nunca se pueden alcanzar”. El 3 de febrero de 1979 se inauguró la pequeña biblioteca barrial metida dentro de dos vagones de los viejos Ferrocarriles Nacionales. Ese día también se bautizó como Biblioteca Tren de Papel Carlos Castro Saavedra, filial de la Biblioteca Pública Piloto de Medellín para América Latina. Enclavada en la ladera, cargada de volúmenes, llenando de color y de ilusión la vida de todos los que viajaban en ese tren de papel que llamamos libros, estuvo por cuarenta años hasta que se trasladó a otro lugar. El crecimiento de la comunidad y sus necesidades requerían ampliar la colección bibliográfica, los puntos de conexión a internet y, en general, todos los servicios. La filial dejó los vagones, pero no el barrio Florencia, y como un homenaje al recuerdo y a todo lo que fue, se sigue llamando Tren de Papel.
          A este pequeño habitáculo de libros se le conoce como Tren de Papel. AI-BPP.
          
    Para los habitantes del barrio la visión de dos vagones de tren parqueados en una loma representó una gran novedad. AI-BPP.
          
    
              
              
            
            Cronología de los talleres de escritura de la BPP
          Información suministrada por Jairo Morales Henao.
          
              
              
            
            78
          En enero se anuncia en la prensa local la apertura de un taller de escritores en la BPP. La invitación estaba abierta para todos los interesados en aprender escritura literaria. La inscripción era gratis y comenzaría a funcionar en la segunda semana de febrero, cada miércoles a las cuatro de la tarde.
          Taller de Escritores de la BPP
          Alejandro González, entonces director, instala en febrero el taller bajo el nombre Taller de Escritores de la Biblioteca Pública Piloto y lo dirige.
          Alejandro González entrega en marzo la dirección del taller a Juan Luis Mejía Arango. El taller es dirigido por Jairo Morales Henao desde junio del 78 a mayo del 79.
          
    Jaime Jaramillo, Mario Rivero y Manuel Mejía Vallejo conversan en la dirección de la BPP. 1984. Archivo Jairo Osorio.
          07 NÚMERO
        
              
              
            
            79 94...
          En mayo, por iniciativa de Gloria Inés Palomino, entonces directora de la Oficina de Comunicaciones y Extensión Cultural de la BPP, es llamado el escritor Manuel Mejía Vallejo para dirigir el taller.
          Durante 15 años el taller es dirigido por Mejía Vallejo.
          De julio a septiembre, el taller suspende actividades por enfermedad de su director.
          Por iniciativa de la directora general Gloria Inés Palomino, Jairo Morales Henao es llamado en septiembre para dirigir de nuevo el taller.
          El taller ha sido dirigido por Jairo Morales Henao hasta la fecha actual.
          · Claudia Ivonne Giraldo ·
          
          “Esa historia de los talleres de escritura de La Piloto es muy importante por algo fundamental: fueron la razón para que otros talleres comenzaran a abrirse en la ciudad. Irradiamos una consciencia sobre la escritura y la lectura entre otros más jóvenes. Fuimos la cuna de toda una generación lectora”.
          “Nadie nos enseñaba nada. Íbamos aprendiendo con base en los errores y en los aciertos. Durante todos estos años por ahí han pasado muchos muchachos y muchachas. María del Rosario Escobar fue alumna mía, de uniforme de colegio. Y como editora en Eafit acabo de recibir una novela de una escritora que fue mi pupila en la BPP. Lo lindo de estos talleres es que lo que uno enseña retorna”.
          “Al principio llegaban cuatro o cinco alumnos, pero Gloria Inés me decía ‘no nos desanimemos, que esto no se ha hecho antes en la ciudad’. Luego llegué a tener 25 y hasta 30 alumnos en el taller”.
          Taller de escritura para mayores de 60 años
          Verano Brisas crea el taller de escritura para mayores de 60 años, que inicialmente se llamó Amigos de las Letras. Verano Brisas lo dirige por dos años.
          Lucía Donadío recibe la dirección del taller.
          
              
              
            
            Taller de Poesía
          Claudia Ivonne Giraldo toma la dirección del taller.
          Janeth Posada es nombrada directora. Emperatriz Muñoz, novelista y gerontóloga, recibe la dirección del taller.
          Taller de Escritura para Niños
          85 87Luis Fernando Macías crea el Taller de Escritura para Niños y lo dirige por dos años. El poeta conocido como Verano Brisas recibe la dirección del taller.
          Édgar Trejos recibe la dirección del taller. Lo dirige hasta 2001, cuando la sala infantil Pedrito Botero comienza a hacer otras estrategias de promoción de lectura.
          
              
              
            
            85 17
          Lo crea y dirige Jaime Jaramillo Escobar hasta su fallecimiento.
          
              
              
            
            21
          Muere el poeta Jaime Jaramillo Escobar. El taller continúa bajo la tutela de sus alumnos más aventajados.
          Taller de Creación Literaria
          Todos los sábados, de febrero a noviembre, el autor Juan Diego Mejía dirige el taller que convoca a escritores en ciernes.
          91
        03
        90 92
        16 19
        Claudia Ivonne Giraldo, alumna del taller de Manuel Mejía Vallejo, le propone a la directora de la BPP, Gloria Inés Palomino, la creación de un taller de escritura creativa para jóvenes. La acompaña en la dirección Emma Lucía Ardila durante un año. Claudia Ivonne lo dirige durante 22 años.
          
              
              
            
            84Taller de Escritura para Jóvenes
          · Lucía Donadío ·
          
          Talleres de
          03Jorge Iván Agudelo, alumno de Claudia Ivonne Giraldo, comienza a dirigir el taller, que continúa en el presente.
          “Creo que el taller de los viejos, como me gustó siempre llamarlo, es un espacio de gran importancia para los asistentes, el director y la BPP. Es un espacio de lectura de libros y conversación sobre ellos. Algunas personas escribían. Les gustaba mucho que yo les pusiera tareas de escritura. Al jueves siguiente llegaban muchos textos de memorias y humor y los leían como niños mostrando su tesoro. Los vínculos de amistad y solidaridad que surgieron son fuertes y muy profundos”.
          
              
              
            
            escritura
          
              
              
            
            19 21
          Se publica Casi un libro de amor, título que reúne las obras escogidas de los jóvenes y adultos que participan de los talleres de la BPP.
          Luego de la pandemia mundial por covid-19, los talleres retoman la presencialidad. Casi un libro de amor se reedita en ePub y se incorpora a Cosmoteca Lapiloto.
          “Mujeres trabajadoras o amas de casa encontraban en los libros compañía y conocimientos de la vida. Algunas decían que aprendieron a leer de verdad en el taller; se atrevieron a subrayar los libros, a criticar a los autores, a decir cuáles no les gustaban. El taller no era una clase, sino una experiencia colectiva que, probablemente, muchas no habían experimentado antes, acostumbradas a la rigidez de la educación formal”.
          
    
    Y allí empezó todo
          TÍTULO NÚMERO
          
          08
          
              
              
            
            Pilar Gutiérrez y Juan Carlos Restrepo 03
          Una historia en las voces de dos lectores, escritores y editores. Nace una familia entre los estantes de una biblioteca.
          ilar Gutiérrez. Nos conocimos en el taller de los miércoles, el de Jairo Morales. Cuando yo llegué, Juan Carlos llevaba ya unos años allí, tal vez dos. Un auditorio grande, muchas sillas y un señor serio, muy serio, ese era Jairo, el director del taller.
          Juan Carlos Restrepo Allí iba desde 1997 no solo al taller de Jairo, sino también al de poesía de Jaime Jaramillo, dispuesto a explorar con lo que creaba. Yo cortejaba con la incertidumbre de dedicarme a escribir, a dibujar o a mezclarlo todo en mi formación de diseñador gráfico. Fue en La Piloto donde apareció Pilar, para admirarla y amarla.
          PG. Era un lugar realmente democrático, parecía una pequeña muestra de la sociedad: había jóvenes, viejos, punkeros, locos, cuerdos, desocupados, alcohólicos; todos allí, en paz, oyéndonos, respetándonos y conversando; eso
          
    Las bibliotecas también son lugares para, simplemente, estar. Por años, la BPP ha sido un sitio de encuentro y reunión. Fachada de la BPP, década de 1980. AI-BPP.
          
          PÁGINAS AUTORA 55
        autores
        Un puente entre tiempos
          era el taller, un espacio para pensar, para reflexionar, todo alrededor de la palabra.
          JCR. Íbamos para pulir la disposición artística, la chispa, el talento y el temperamento. Exponerse frente a todos leyendo “lo tuyo” era siempre muy atemorizante. A veces resultaba conmovedor y, otras, tedioso.
          PG. Llegar al taller era estar por fin en el lugar correcto: ya no éramos el raro o la rara, al que le dio por escribir, no teníamos que dar explicaciones, el mismo interés nos había llevado a todos a compartir esas dos horas y a tomarnos, más tarde, un café.
          JCR. Veíamos el quehacer de una tropa entera y después supimos que la mirada crítica que pulimos allá fue nuestra mejor formación para seguir escribiendo desde nuestras voces.
          PG. Fue también en el taller donde Juan Carlos y yo nos convertimos en pareja y empezamos a ser editores; nos corregíamos nuestros textos, oíamos las lecturas de los compañeros y comentábamos, cada uno con su mirada, con su criterio.
          JCR. Todavía nos preguntamos qué pasó con ese mono talentoso que no volvió al final, qué hizo la vida con la señora de las bellas palabras, cuántos se montaron en otro tren, esa… ¿dónde está?, y de aquel, ¿publicó?
          PG. Hoy, después de 19 años, cuando pasamos por la Pública Piloto, le decimos a nuestra hija María: “mira, aquí, en este edificio, empezó todo, aquí empezó Tragaluz editores”.
          El primer libro adquirido por la BPP fue Los amigos de Toto de M. Baguer. Ingresó al sistema el 3 de mayo de 1954 con el número 001.
          56
        
    
    
    Miguel Escobar, 1986. Archivo Jairo Osorio.
          Un puente entre tiempos
          56
          
    era el taller, un espacio para pensar, para re flexionar, todo alrededor de la palabra.
          . Fue también en el taller donde Juan Carlos y yo nos convertimos en pareja y empeza-
          
    Gustavo Adolfo Vives Mejía
          
          
    
              
              
            
            Miguel
          Escobar Calle Director curador de la Sala Antioquia
          iguel Escobar, llamado Migue por todos, fue un incansable y callado trabajador de la cultura que nunca buscó honores ni medallas. Tuvo múltiples intereses: era una autoridad en literatura antioqueña; conocía como pocos la vida y obra de León de Greiff y del pintor Francisco Antonio Cano; era experto en historia de la fotografía y de la navegación a vapor. Además de literatura y arte, sabía de caricaturas, de exlibris y hasta de música. Su espíritu investigador y su insaciable curiosidad le hacían abrir los ojos a otros campos y escudriñarlos con rigor. Y siempre listo a compartir sus conocimientos con quienes investigaban sobre un tema determinado y buscaban su orientación antes de adentrarse en los fondos bibliotecarios que conocía al dedillo. Todavía encuentro papelitos con notas suyas o fotocopias que dicen “Gus, esto te puede servir”.
          Fue editor por naturaleza. Corregía textos, buscaba viñetas o ilustraciones, sacaba fotocopia de alguna imagen y la mejoraba, hacía recomendaciones y cargaba cajas llenas de libros. Migue tenía una apariencia seria, casi adusta, pero al entrar en contacto con él se descubría a un hombre amable, sencillo y dispuesto a ser útil. Se distinguía por su galantería, buen humor y amena conversación. Fue un excelente contertulio.
          
    AUTOR NÚMERO
        57
        TÍTULO
        09
        Miguel Escobar, 1986. Archivo Jairo Osorio.
          Jairo Morales Henao
          
          
              
              
            
            Luz Posada de Greiff Bibliotecóloga
          otas como estas, breves y precisas, escritas a vuela pluma sobre la página en blanco de la anteportada o la portadilla de un libro, en las márgenes de un folleto, bajo un colofón, impuestas por la necesidad del momento en los afanes del día a día de una biblioteca, que no es un lugar tan apacible como muchos piensan desde afuera, y destinadas a advertir, recomendar o aclarar algo de afán sobre el documento en cuestión para cuando haya modo de volver sobre él con más tiempo (una manera, pues, de adelantar trabajo, un recorderis para ella misma o para el bibliotecario que se lo topará luego por azar o en cumplimiento de sus funciones) y darle entonces el tratamiento, la ubicación y utilización adecuadas, han marcado el paso cotidiano de Luz Posada de Greiff en todas las bibliotecas donde ha trabajado; constituyen su estilo, la impronta de un
          quehacer que revela en esas notas su espíritu laborioso, preciso, meticuloso, incluso coherente con su concepción expresa de que “una biblioteca no se termina de organizar nunca”.
          
    
    Nació en Yarumal y es licenciada en Bibliotecología de la Escuela Interamericana de Bibliotecología de la Universidad de Antioquia. Fue asesora en la Sala Antioquia a raíz de su presencia en el equipo de investigadores a los que el Banco de la República asignó en 1987, teniendo como base la Biblioteca Pública Piloto, la tarea de formar el inventario de caricaturas hechas por antioqueños.
          
    AUTOR NÚMERO
        58
        TÍTULO
        Un puente entre tiempos
        010
        Luz Posada de Greiff. AI-BPP.
          
              
              
            
            TÍTULO
          
    Elkin Restrepo
          
          Manuel Mejía Vallejo Director del Taller de Escritores
          
          ay un Manuel que se fue superponiendo al otro, al conocido, al narrador y autor galardonado nacional e internacionalmente, y que, por momentos, le disputaba supremacía. El Manuel Mejía oral, aquel capaz de tener a su auditorio y amigos prendidos a una historia quizá real, quizá inventada, o ambas cosas. No necesitaba de mucho para entonarse: una silla, un vaso de ron y el interés de aquellos que, al oírlo, sabían que escuchaban el último grande de una tradición intelectual, quien moldeaba una anécdota o una historia con el desparpajo, la gracia y la imaginación del contador de cuentos parecido a los rapsodas, que, no hacía mucho, iban de pueblo en pueblo y hacían de la arriería, el café o la plaza su estrado y de la exageración, el vocablo pintoresco, el giro inesperado o popular su arte. Alguna vez, en Jericó, Manuel
          nos presentó, a los amigos, al mayor de ellos, al sobreviviente: Fabián Pimienta; hombre que no escribía, pero su conversación, festiva y picaresca, raizal y sonora, propia solo de un paisaje pedregoso y de montañas, señalaba una fuente común. Aquella de la que manaba, y además lo sostenía y daba cuerpo, el relato en Carrasquilla, Barba, León de Greiff, Fernando González, tan apegados todos a un habla provinciana, un tesoro; pero también se servían, como hombres de su época, de aquella que la modernidad, urbana e industrial, su propio tiempo, les ofrecía. De ahí ese extraordinario legado que, desatentos, a veces pasamos por alto.
          Mejía Vallejo. AI-BPP.
          
          
    AUTOR NÚMERO
        59
        011
        Manuel
          Un puente entre tiempos
          60
          Aquella noche, en aquel cafetucho de la zona de abajo del pueblo, Manuel escuchó gozón a quien, pueblerino y afincado, le devolvía mucho de lo suyo. Y, por supuesto, a quienes, a su lado, gozones también, reconocíamos de oído, de adehala, que en esa oralidad, ingeniosa y viva, resplandecía, como diría Canetti, una provincia. La patria del hombre. Si aquel parecía un encuentro fortuito, no lo era. Sin embargo, por un azar extraordinario se nos daba a nosotros, los presentes, la oportunidad de advertir un vínculo y de descubrir de manera muy viva de dónde, prolongando una veta, en boca suya, Manuel, ese otro Manuel que la gente se paraba a escuchar, con toda su espontaneidad, agudeza y risa franca, hacía camino hasta nuestros días.
          Oír a Manuel alrededor de la mesa en aquellas mañanas en las que un ligero guayabo
          impulsaba su verbo era un privilegio. Manuel, seguro, hablaba como los viejos maestros. Así, en sus reuniones con las amigas y los amigos que lo visitaban en su casa de la calle Bolivia, debió hablar Carrasquilla y el Mago de Otraparte, y para quienes tuvimos el gusto alguna vez de escucharlo, cascajoso y tajante, el viejo León. El Manuel oral era de su estirpe y de la de tantos otros que ponen y dan música al río del tiempo. La vida, que es también irónica, lo fue con el escritor: le produjo una apoplejía que le afectó el habla. A los 70 años ya no pudo volver a hablar ni a escribir y su talento se silenció. Un drama. Hoy no oigo quien, como en los viejos tiempos, hable así. Tal vez en la calle o en las plazas de mercado, en el bullicio de los parques, que, por cierto, para afinar el oído e insuflarles poder a sus palabras, Fernando González no dejaba de visitar para mezclarse entre las gentes.
          
    Manuel Mejía Vallejo charlando en el antiguo auditorio BPP, que luego llevó su nombre. AI-BPP.
          
              
              
            
            AUTORA NÚMERO TÍTULO
          Claudia Ivonne Giraldo
          
          
              
              
            
            Gloria Inés Palomino
          Directora de la Biblioteca 1983 - 2015
          entí que era mi casa, una casa alegre, vital, amable. Las presentaciones, las exposiciones de arte y los lanzamientos de libros eran concurridos, magníficos. La Piloto era una ebullición y un imán cultural de la ciudad. Sus talleres de arte y de literatura fueron fundacionales en Medellín. Las iniciativas que nos dictaba nuestro entusiasmo juvenil eran apoyadas y tenidas en cuenta.
          Y es que La Piloto era, ante todo, la gente: don Manuel Mejía y el maestro Jaime Jaramillo; Miguel Escobar, José Gabriel Baena, Jairo Morales y Vicky; María José, Olguita, Yaneth. Por ellos, por todos allí, nuestra “casa” era una fiesta. Tal vez nada de esto hubiera sido posible si la persona que dirigía esta alegría no hubiera tenido la sabiduría, la inteligencia y el tino para convertir a la institución en un referente nacional de las bibliotecas públicas, y en un
          lugar hospitalario para los creadores, investigadores, estudiantes y lectores de Medellín y del país. Una casa con las puertas abiertas.
          Durante casi 30 años, Gloria Inés Palomino, comunicadora social de la Bolivariana, dirigió la BPP sin pretensiones ni afanes de protagonismo. Su trato cordial, su presencia discreta imponían, sin embargo, una autoridad que todos reconocíamos.
          
    Sabe, como pocos, de gestión cultural, de promoción de lectura, de libros, de proyectos culturales. El Plan de Bibliotecas y las redes de bibliotecas escolares no serían lo que son hoy sin su presencia y orientación.
          Esta mujer entrañable propició una época de oro en nuestra Piloto, una época en la que fuimos felices y que muy seguramente nunca se repetirá, o no de la misma manera.
          
    61
        012
        Gloria Palomino en la Torre de la Memoria. 2014. Jaime Osorio. AI-BPP.
          “
          Javier Gil Gallego
          
          
              
              
            
            Jaime Jaramillo Escobar
          Director del Taller de Poesía
          
          
    
    oesía es esto y esto y esto” era la definición más concisa que tenía Jaime sobre poesía, y que, a pesar de estar en todas partes, como “Dios”, al andar de la mano del maestro fuimos entendiendo que solo unos cuantos escogidos la entendían, y unos elegidos la hacían; en Jaime se conjugaban las dos cosas. Cada integrante del taller llegaba con sus folios de poesía, no hay que olvidar que detrás de todo antioqueño hay un poeta en ciernes o descaradamente oficiante, y nos enterábamos con rubor y desengaño de que el poeta nace y se hace a partir de conocer a los grandes (tuvo más de mil invitados, como llamaba a los poetas que estudiaba y nos presentaba y a los que leía con su característico tono). Partiendo de estas grandes verdades, algunos cogimos el camino del medio, nos volvimos narradores, disfrutamos de la poesía que Jaime nos presentaba
          e íbamos puliendo cuentos con la ayuda de la síntesis, la concreción, el manejo de los tiempos y la gramática que toda buena literatura reclama. Jaime era un abanderado de la libertad para escribir y era enfático al afirmar que solo había una norma: que lo que se hiciera fuera genial, que cada página que se escribiera fuera una más que se agregara al Quijote.
          Nosotros, los herederos, los seguidores, los “viudos” del maestro, seguimos adelante con el taller porque nos hicimos a su legado, a sus lecciones de poesía y, sobre todo, a la obligación de escribir bien. Sabemos que esto es de afinidades, amores, amistades, textos, buenas lecturas y mucha pasión. Larga vida a Jaime y a nuestro taller.
          Conocido en el nadaísmo como X-504, Jaime Jaramillo Escobar (1932-2021) fue el maestro de poesía en los talleres de la BPP.
          AUTOR NÚMERO
        62
        TÍTULO
        Un puente entre tiempos
        013
        
              
              
            
            La biblioteca de los niños
          NÚMERO
          
          
              
              
            
            014
          PÁGINAS AUTORA
          
          Mónica Palacios Chamat 05
          
          n 1975, cuando la Biblioteca Pública Piloto empezaba a ser reconocida como centro de encuentro de distintas expresiones ciudadanas alrededor de la cultura, destacados artistas nacionales comenzaron a engrosar su colección de arte con la donación de obras. Uno de ellos fue el maestro Fernando Botero, quien donó el óleo que había dedicado a su hijo Pedro, en un formato de 1,23 por 1,62 metros. Desde entonces, el nombre de esta obra ha identificado la sala de lectura infantil de la Biblioteca.
          Dicen casi todos los grandes escritores y, por norma, todos los buenos lectores, que sus inicios en el mundo de la literatura se remontan a la infancia, ya fuera por medio de colecciones familiares privadas, lecturas obligadas o voluntarias de la etapa escolar, o de préstamos en las bibliotecas públicas. Durante muchos años, la Piloto
          
    63
        TÍTULO
        Desde hace décadas, en la sala Pedrito Botero leen los niños, los que tocan un libro por primera vez.
          64 Un puente entre tiempos
          
    1.
        fue casi la única oferta de este tipo en Medellín. Esto llevó a que confluyera una amplia variedad de lectores de diferentes sectores de la ciudad, con distintos intereses y múltiples edades. Para los más pequeños está la Pedrito Botero.
          En esta sala los visitantes encuentran una colección de literatura infantil en constante crecimiento dirigida a niños desde los cero hasta los 17 años. Textos que pueden ser leídos en el lugar o que pueden ser llevados en préstamo mediante el sistema de afiliación.
          Pero no hay un solo camino para llegar a la literatura infantil, explica Kelly Johanna Marín, una de las encargadas que ha tenido la sala a lo largo de los años. Para los primeros lectores, la sala ofrece La Hora del Cuento y el Taller de Iniciación a la Lectura. Así mismo, a partir de los siete años los niños pueden participar en un club de lectura para intercambiar su experiencia lectora con sus pares, igual que lo hacen los jóvenes y los adultos en sus correspondientes clubes de La Piloto. Otro camino para acercarse a los libros son los talleres de artes plásticas o música que se dictan en este entorno. Recuerda la escritora Claudia Ivonne Giraldo, tallerista de literatura para jóvenes durante 22 años, que “la sala Pedrito Botero era una zona nuclear de la Biblioteca porque era donde estaban los niños.
          Yo la recuerdo en esa época, había poquitas colecciones, unos cojincitos tirados en el piso, unas carteleritas hechas a mano, pero eso era el paraíso terrenal para muchos niños. Muchos de ellos de La Iguaná, que les quedaba ahí cerca”.
          Por fuera de la sala, la literatura infantil también encuentra formas para llegar a quienes quieran disfrutarla, ya sea en las filiales de la Piloto o mediante las actividades que los promotores de
          
    1. 2.
          Además de la lectura, la oferta infantil de la BPP también ha incluido exposiciones. AI-BPP.
          Los clubes de lectura infantil comenzaron a formarse desde los primeros años de operación de la BPP. AI-BPP.
          65
        2.
        Un puente entre tiempos
          66
          lectura llevan a diferentes instituciones educativas. Una de estas actividades, que ha logrado involucrar a un público amplio, es el Concurso de Cuento Infantil Pedrito Botero. Con la creación de esta figura la Biblioteca encontró una herramienta de promoción para la lectura y la escritura muy efectiva. La primera edición se realizó en 2005 y participaron un poco más de 100 niños de instituciones educativas de Medellín y el Área Metropolitana. Hoy, 18 ediciones después, el concurso cuenta con la participación anual de entre 1500 y 3000 niños de toda Antioquia.
          La creciente y constante participación de los niños del departamento en este concurso es un útil medidor tanto de la apropiación que hacen de las lecturas a las que se acercan como de las creaciones, de las narraciones que son capaces de hacer.
          La sala infantil fue nombrada luego de la donación de la pintura Pedrito, de Fernando Botero. AI-BPP.
          
    Las salas de lectura infantil, la Pedrito Botero en particular, con sus actividades literarias y artísticas dentro y fuera de ellas, establecen, entonces, ese primer acercamiento que puede poner a tantos en el camino de la literatura desde sus primeros años. Afirma Claudia Ivonne: “Estoy segura de que ese recuerdo de la salita tiene que ser entrañable para muchos adultos jóvenes de hoy, porque para muchos fue su refugio”. En la actualidad la sala infantil es un espacio renovado, luminoso, con salidas y entradas en forma de ventanas y túneles que significan diversión y la conectan con la sala general, para que los niños no se sientan en otro lugar sino dentro de la biblioteca. Es un espacio doble, pensado tanto para chicos como para adultos: papás, mamás, profesores y toda suerte de acompañantes «grandes» que a menudo también pasan mañanas y tardes allí. Títeres, pintura, recortes y actividades lúdicas clásicas se combinan con un poco de tecnología para estimular el gusto de leer. Y Pedrito Botero, el óleo original que por años se aburrió colgado en una oficina, ahora está allí, en la sala que lleva su nombre, su lugar natural.
          Los libros más prestados son Genealogías de Antioquia y Caldas de Gabriel Arango Mejía y El infinito en un junco de Irene Vallejo.
          Actividades artísticas como la pintura ayudan a facilitar los primeros acercamientos con la literatura. AI-BPP.
          
    68 Un puente entre tiempos
          
              
              
            
            Aquella visita a La Piloto
          NÚMERO
          
          
              
              
            
            015
          PÁGINAS AUTORA
          
          
    María Cristina Restrepo 06
          
          Al cruzar la puerta de la BPP se encontraba un paisaje que no se veía en ningún otro lugar de la ciudad. Tantos libros como tipos de lectores.
          e mis incontables visitas a la Biblioteca Pública Piloto, aquella, sin duda, fue la más importante, tanto, que a partir de ese momento la vida adquirió un nuevo rumbo. Recuerdo la tarde de agosto, soleada, calurosa. No había una nube en el cielo, las flores se doblaban marchitas en los floreros. Había terminado de corregir los ensayos de mis alumnos, disponía de unas horas de ocio para hacer lo que quisiera. La caja con los libros elegidos por mi vecina con el fin de donarlos a una biblioteca esperaba al pie de las escalas el momento en que pudiera llevarla a La Piloto, donde mi amigo Miguel la abriría con una sonrisa de anticipación, sin ocultar el deseo de descubrir algo de interés para los lectores. Aprovecharía también para visitar allí mismo la exposición de fotografías de Juan Rulfo, que tanto anhelaba ver.
          TÍTULO
        Le pedí al portero que me ayudara a bajar los libros. Luego de meterlos en el baúl del Renault 4 verde pistacho, tomé la avenida del Río sin sospechar lo que me esperaba. Se respiraba un ambiente de fiesta en mitad de la semana: era miércoles y parecía domingo, quizás por el poco tráfico, por el alegre temblor de las hojas de los árboles en la brisa tibia, por la perspectiva de tomarme un café con Miguel y recordar los viejos tiempos, cuando había sido mi profesor en la Facultad de Filosofía y Letras de la misma universidad donde ahora yo dictaba Literatura. Una materia con un nombre rimbombante,
          
    Fenómeno Religioso, algo que ni el mismo Miguel supo nunca muy bien qué era, pero nos había brindado la oportunidad de hacer interesantes lecturas y tener apasionadas discusiones en torno a los más variados temas.
          Apenas
          estacioné en uno de los pocos parqueaderos libres, el señor que cuidaba los carros se acercó. Tal vez me recordaba de otras veces, tal vez pretendía que no lo olvidara al momento de salir. Al igual que hice con el portero, le pedí ayuda con la caja, tan pesada como si llevara piedras dentro. Miguel esperaba al pie de las escalas. Al vernos se acercó con
          Con el correr de los años las sillas y las mesas de lectura de la Piloto se convirtieron en íconos que los usuarios recuerdan con cariño. AI-BPP.
          69
        Un puente entre tiempos
          su sonrisa característica, mezcla de timidez, simpatía e intuición, como si alcanzara a comprender algo secreto en el alma de la persona que tenía al frente. Un joven vestido con la chaqueta blanca de los empleados se acercó a recibir los libros, que llevamos a la sala de la colección general. Los dejó sobre una mesa larga, de madera lacada. Miguel comenzó a sacarlos uno a uno, exclamando cada vez que descubría una novela, un libro de poesía que no estaba en los anaqueles.
          Después de tomarnos un café, nos despedimos y subí al segundo piso, al lugar de las exposiciones. Si por suerte la encontraba a la salida de su oficina, podría cambiar unas cuantas frases con Gloria, la directora, siempre atareada, sonriente, dueña de una energía que hacía posible cualquier proyecto, contenta de desempeñar una labor importante para la ciudad. Entraría a saludar a Jairo, celoso guardián de los tesoros de la Sala Antioquia: primeras ediciones, libros colombianos editados en París, revistas culturales que hacía años habían dejado de publicarse, folletos, proclamas, mapas, antiguos volúmenes que en ocasiones enseñaba con orgullo de coleccionista.
          La exposición de Rulfo estaba colgada en un amplio pasadizo con piso de granito blanco,
          ocupado por paneles de madera para exhibir el trabajo del artista. La baranda de hierro, pintada también de blanco, permitía asomarse al ir y venir de los empleados y los usuarios en el primer nivel del edificio, donde un grupo de colegialas de uniforme azul oscuro y zapatos rojos se esforzaban, sin lograrlo, en guardar silencio. Parecían dudar, hasta que decidieron sentarse alrededor de la mesa de estudio. Una de ellas depositó frente a las amigas un cerro de libros, pero, en lugar de abrirlos, comenzaron a cuchichear juntando las cabezas.
          Me alejé de la baranda para recorrer los paneles con las inquietantes fotografías del mexicano, rodeadas de misterio y silencio, símbolos permanentes de un paisaje interior, la manifestación personal de una cultura. El trabajo de Rulfo estaba frente a mis ojos con descarnada ausencia de toda interpretación. Cada espectador tenía la tarea de hacerlo sin más ayuda que su sensibilidad, sumada a la carga de emociones allí plasmadas.
          Al fondo de la sala se abría la puerta de vidrio del último salón del edificio, un espacio rectangular rodeado de ventanas a través de las cuales alcanzaba a verse las montañas calcinadas por el sol. Unas 30 personas sentadas en pupitres, con un cuaderno abierto, una libreta de notas,
          La gran sala de lectura, lugar donde se ofrece para consulta la colección general de la BPP. AI-BPP.
          70
        
    Un puente entre tiempos
          unas hojas impresas, miraban fijamente al frente. Desde mi lugar se oía la voz inconfundible de Manuel Mejía Vallejo haciéndole una observación a un alumno. Recordé que era miércoles, día en que Manuel dictaba el Taller de Escritura a un grupo de gentes de distintas edades y oficios, pero con un sueño en común: escribir. Avancé un poco para mirar el perfil de Manuel, los trabajos que comentaría puestos sobre una mesita redonda, el vaso de ron al lado.
          Como no podía quedarme allí parada, regresé a las fotografías que enseñaban un muro de ladrillo cocido, un hombre joven, de espaldas, sentado en un promontorio, un cactus que tenía como telón de fondo un árido llano en llamas abrasado por el sol, el campanario de una iglesia, el retrato de Rulfo, los ojos taladrantes, la frente alta surcada de arrugas, las cejas enarcadas como si se formulara una pregunta. La fuerza sin alardes de su personalidad.
          Volví a oír la voz de Manuel. Caía la tarde con reflejos rojizos que atravesaban las vidrieras. Pronto tendría que alejarme, regresar a casa, a mis dos hijos adolescentes. Pero en lugar de buscar la salida, reclamar el bolso y llegar al parqueadero, me acerqué de nuevo a la puerta del taller. El rumor de las conversaciones, el ruido de los pupitres señalaba el fin de la sesión.
          Los escritores en ciernes comenzaron a salir solos o en grupos, algunos con una sonrisa, otros con aire abatido.
          Manuel lo hizo de último. Llevaba una carpeta bajo el brazo, el vaso en la mano derecha. Al pasar por mi lado se detuvo como si fuera a saludarme. Tal vez pensaba que nos conocíamos. Una leve sonrisa plegó su boca, hizo un gesto con la cabeza y, amable, me dio las buenas tardes. Respondí sin devolverle la sonrisa, ansiosa, como si esperara oír algo más, una voz que me dijera que ya era hora, que el momento había llegado. Lo vi alejarse caminando erguido junto a las fotografías de Rulfo, la espalda ancha, el paso potente de hombre de campo, la chaqueta marrón levemente gastada. Sentí la confianza en sí mismo, en la vida bien vivida, la seguridad en la escritura hecha con precisión, sin alardes, con un convencimiento sincero sobre la verdad de su oficio.
          Una semana más tarde me encontraba sentada en uno de los pupitres de la sala al fondo de La Piloto. Llevaba conmigo un cuento. Después de oír la manera como Manuel analizaba cada trabajo, las sugerencias que brotaban de sus labios con la facilidad de quien conoce, después de oírle decir con una sonrisa, a propósito de Hemingway, que “el que sabe sabe”, instando a los alumnos a descubrir por sí mismos los
          72
        Los estudiantes, los lectores informales, los usuarios silenciosos. Imágenes típicas de un día cualquiera en la BPP. AI-BPP.
          
    
    
    
    
    73
        Un puente entre tiempos
          
    
    Como no podía quedarme allí parada, regre sé a las fotografías que enseñaban un muro de ladrillo cocido, un hombre joven, de espaldas, sentado en un promontorio, un cactus que te nía como telón de fondo un árido llano en lla mas abrasado por el sol, el campanario de una iglesia, el retrato de Rulfo, los ojos taladrantes, la frente alta surcada de arrugas, las cejas enar cadas como si se formulara una pregunta. La fuerza sin alardes de su personalidad.
          Volví a oír la voz de Manuel. Caía la tarde con reflejos rojizos que atravesaban las vidrie ras. Pronto tendría que alejarme, regresar a ca sa, a mis dos hijos adolescentes. Pero en lugar de buscar la salida, reclamar el bolso y llegar al parqueadero, me acerqué de nuevo a la puerta del taller. El rumor de las conversaciones, el rui do de los pupitres señalaba el fin de la sesión.
          72
        secretos de la escritura, supe que me atrevería a entregarle el relato.
          Al cabo de otra semana, bajo el sonido de la lluvia torrencial que clausuraba el verano, Manuel Mejía Vallejo me ordenaba tomar uno de los párrafos del cuento, tan corto que no llenaba ni media página, para escribir de allí una novela.
          Perpleja, le pregunté cómo lo haría. El encargo parecía imposible, necesitaba saber cuáles serían los pasos necesarios para construir un nuevo universo a partir de aquel brevísimo fragmento.
          Respondió llamándome “chica”. La tarea era mía, de nadie más. Debía averiguarlo por cuenta propia, a través de la constancia, de corregir lo escrito una y otra vez, de tener fe en el libro. Él esperaría el tiempo que fuera necesario, hasta que la novela estuviera escrita, para dar su opinión.
          Fue mi primera novela, la definitiva. La que abriría un camino.
          En la Sala Antioquia se encuentra una edición de 1874 de El crimen de Aguacatal. Su autor, Francisco de Paula Muñoz, es pionero del reportaje en Colombia.
          Los estudiantes, los lectores informales, los usuarios silenciosos. Imágenes típicas de un día cualquiera en la BPP. AI-BPP.
          
    
    
    
    
    73
        74 Un puente entre tiempos
          
              
              
            
            El sillón del forastero
          NÚMERO
          
          016
          PÁGINAS AUTOR
          
          
    03
          Juan Diego Mejía
          
          Manuel Mejía Vallejo encabezaba una marcha de escritores y aprendices que perseguían la luz de los libros. A veces como último recurso.
          ran los primeros años de la década de los 80. No había Metro en Medellín y el ícono del progreso todavía era el edificio de Coltejer. Para entonces yo ya había sido expulsado de varios paraísos. En un tiempo seguí al pie de la letra las clases de Matemáticas en la Nacional y me entusiasmé al ver que podía llenar cuadernos con números y símbolos que significaban algo. Luego fui un caminante de las montañas, donde pregonaba las virtudes de la revolución. Cinco años fuera de la ciudad y alejado de la civilización me convirtieron en un desamparado que regresaba a casa y encontraba que el mundo había cambiado. Yo buscaba un amor que me diera una nueva oportunidad para entregarle la vida después de mi destierro. Los viejos conocidos que todavía creían en la revolución ya se veían cansados y tristones en los bares de la ciudad. Pero a otros
          Manuel Mejía Vallejo en el auditorio de la biblioteca. A su izquierda, el escritor William Agudelo. AI-BPP.
          TÍTULO
        
    Un puente entre tiempos
          les brillaban los ojos cuando hablaban de lo que hacían para mantenerse vivos. Estaban en los cafés a cualquier hora del día. Unos contaban que hacían películas con el padre Luis Alberto Álvarez. También había quienes decían haber llegado a niveles altos en la comprensión de la ciencia. Escuché conversaciones de pintores y de músicos en Versalles en las que mencionaban teatros y galerías de Europa. Conocí a algunos poetas y a otros que escribían cuentos y tenían el sueño de hacer una novela. No había dudas de que en esos años de ausencia Medellín se había transformado y a la actividad cultural se le sentía la respiración fuerte y ambiciosa.
          Pero fue el destino, ese demonio sabio, el que me llevó a un lugar donde sentí que se resumía la vitalidad que tanto me entusiasmaba. Llegué a La Piloto con la timidez de un estudiante pobre y me senté al lado de muchachos que llevaban tres años reuniéndose cada semana para oír a Manuel Mejía Vallejo. Todos queríamos ser escritores y sabíamos que el maestro podía guiarnos en la oscuridad de esos primeros años. No le perdíamos ni un solo gesto. Se nos quedó grabada la manera en que se llevaba el cigarrillo a la boca, el movimiento de la mano para apartar el humo, el sonido del ron con Coca Cola al pasar por su garganta, los dichos,
          las frases, las historias. Al final de las sesiones quedábamos con ímpetus y algunos se iban a los bares a torear al diablo. Yo me quedaba para completar la lección semanal en la oficina de la Dirección de La Piloto. Siempre hubo qué tomar mientras Manuel hablaba. Muchas veces llegaron pintores, músicos, escritores que visitaban la ciudad y se acomodaban alrededor del brujo de la palabra. Así fue como se creó un espacio en el que todos los interesados en las artes y en la cultura eran bien recibidos. Tal vez lo que hizo Manuel fue lo anunciado en su bello cuento “El sillón del forastero”: “Aserramos el mejor tronco de roble y pulimos la madera hasta dejar listo un macizo sillón, abiertos sus brazos para recibir el cansancio de los errabundos. En el corredor delantero lo rodeamos de varios taburetes que parecían escucharle algún cuento de camino”.
          En La Piloto se fundó una tradición de hospitalidad para el pensamiento. Siempre tuvieron espacio los creadores, los que cultivan las ciencias, los lectores, los que valoran la comunicación entre los seres humanos. En el cruce de la autopista con la calle Colombia, en medio del vértigo de los tiempos, la Piloto sigue abierta al mundo, dispuesta a acoger a los errabundos cansados.
          Los autores más leídos por los usuarios son Gabriel Arango Mejía, Juan Gabriel Vásquez, Irene Vallejo, Keiko Kasza y Carl Gustav Jung.
          76
        
              
              
            
            Un horno propio: el Fondo Editorial de la BPP
          NÚMERO
          
          
              
              
            
            017
          PÁGINAS AUTOR
          
          05
          Margarita Isaza Velásquez
          
          Si la Biblioteca ha bombeado por años el corazón cultural de Medellín, ha sido también gracias a la edición de libros propios. Hasta 2022, la BPP ha publicado más de 170 títulos.
          n 1978, en La Piloto emergió la idea de crear libros, no tanto para competirles a las universidades y las casas editoriales de Colombia, sino para que la Biblioteca se convirtiera en un punto de referencia para nuevos públicos más allá de Medellín.
          Alejandro González, entonces director, ya había tenido la idea de crear los talleres literarios, y desde allí comenzó la edición de libros convocando temas y personajes determinantes en la vida intelectual, política y cultural del país. Los primeros títulos fueron, en ese mismo año, La historia contra la pared de Juan Zuleta Ferrer, director del periódico El Colombiano ; Medio siglo sobre El Tiempo de Roberto García-Peña; Los días y los años del expresidente Carlos Lleras Restrepo y Apuntes de un espectador de Gabriel Cano.
          
    77
        TÍTULO
        78 Un puente entre tiempos
          Cada vez que uno de estos libros veía la luz, tenía repercusión en los medios de comunicación, y empezaban a tocar las puertas de la Biblioteca grupos de interés más amplios, con voluntad de continuar las actividades de divulgación cultural, literaria y científica de la mano de la institución.
          En 1980 y 1981, se publicaron Los que son y los que fueron del conservador Fernando Gómez Martínez; Obra escogida del intelectual liberal Otto Morales Benítez y Reflexiones después del poder del expresidente conservador Misael Pastrana. Nadie lo dice, pero estos años iniciales de la edición de libros en la BPP son una especie de “Frente Nacional” en el que se intercalan miradas disímiles de la sociedad colombiana.
          Al mismo tiempo, el taller literario alzaba vuelo con la llegada del escritor Manuel Mejía Vallejo, quien no solo sería el maestro amado de varias generaciones, sino también el editor responsable de decenas de libros. Se publicó, en 1980, Trabajo de taller, el primer resultado de su carpintería literaria; en sus hojas ya amarillas se leen los nombres de Lucía Victoria Torres, Luis Fernando Macías, Ana Páez, Jairo Morales, Juan Diego Mejía, Orlando Gallo, Édgar Trejos, entre otros. Este libro fue el primero de los 16
          
    
    
    
    
    
    Los libros de la BPP han contado con editores de la casa como Manuel Mejía Vallejo, Miguel Escobar Calle, Jairo Morales y Ernesto López.
          
    
    volúmenes antológicos que hasta hoy integran los “trabajos del taller”.
          Luego siguió Las jaulas abiertas (1982), poemas de Carlos Castro Saavedra. Editados por la BPP también son su poemario Jugando con el gato (1986) y su catálogo de arte Pinturas (1986).
          A partir de 1983, la Biblioteca comienza a concentrar sus publicaciones en la literatura y las humanidades. Pero sobre todo en la poesía: muchos de los participantes del taller tenían fuertes vínculos con el verso y la metáfora. Son evidencia de ello La casa del frío (1983) de Édgar Trejos; Es tarde en San Bernardo (1984) de José Libardo Porras, Cantos de verano (1987) de Verano Brisas, entre muchos otros poemarios.
          Desde 1988, la literatura se diversifica un poco en la intención de publicación; aparecen un ensayo biográfico-filosófico, un libro de cuentos y una novela: el primero, Fernando González: filósofo de la autenticidad (en coedición con la Universidad de Antioquia, 1988) de Javier Henao Hidrón; el segundo, El venado de madera (1989) de Claire Lew; y la tercera, Golpes de ala (1989) de Luis Jaime Agudelo. Medellín era por entonces una ciudad en dificultades. La guerra del Cartel de Medellín contra las instituciones estatales quiso instrumentalizar a una generación de muchachos que, a
          pesar de ello, buscaron en las casas de la cultura, las organizaciones culturales y las bibliotecas un espacio de refugio y de resistencia para encontrar una alternativa a la violencia, como lo reseña el informe Medellín: memorias de una guerra urbana (2017), del Centro Nacional de Memoria Histórica y la Corporación Región.
          En ese momento de crisis social, la BPP continuó siendo un lugar de encuentro que permitía la conversación entre viejos poetas y jóvenes autores. En 1990, se editaron En este día tan lentamente aprendido del novel Jorge Marín; Soledumbres del maestro Manuel Mejía Vallejo y A la sombra del ángel de Darío Ruiz Gómez, los tres de poesía.
          La década del 90 ve crecer el oficio editorial de la Biblioteca; las ediciones toman el nombre de Fondo Editorial de la Biblioteca Pública Piloto. Entre 1990 y 1992, se editan 21 títulos, algunos en alianza con la Universidad de Antioquia en su colección de Periodismo, como Mesa de redacción (1990), crónicas de Luis Tejada. Se destacan también en este período La dádiva (1991), libro de poesía de Elkin Restrepo; Con sabor a fierro y otros cuentos (1991) de Mario Escobar Velásquez y Alba negra (1991) del nadaísta Jaime Espinel.
          En 1992, la BPP cumplió cuatro décadas de existencia y los celebró con varios eventos
          79
        80 Un puente entre tiempos
          públicos, además de estrenar la Colección Especial 40 Años en su línea editorial.
          En aquellos días, los libros llegaban a la BPP como una propuesta de texto en crudo que debía pasar los filtros de Mejía Vallejo y la tertulia de los jueves, para que se considerara luego su publicación. Estos libros tenían aportes gráficos de artistas y conocedores de la fotografía y la ilustración como José Gabriel Baena, Elkin Restrepo y Ernesto López.
          En el año 2000, la Biblioteca contabilizó 90 libros en el trasegar de su Fondo Editorial. A los títulos de política e historia y a los poemarios se sumaron novelas, volúmenes de cuentos, críticas literarias, obras periodísticas, biografías y testimonios fotográficos.
          Manuel Mejía Vallejo, autor de La casa de las dos palmas y Aire de tango, entre muchos otros títulos, falleció el 23 de julio de 1998. Entre 2000 y 2002, la BPP editó su obra completa en 13 volúmenes, en coedición con el Concejo de Medellín, que así reconoció su legado.
          Mención aparte merece la edición de libros de fotografía, de Melitón Rodríguez y Horacio
          Gil Ochoa, entre varios más, vinculados a los fondos del Archivo Fotográfico de la BPP. Estos constituyen un testimonio de los tesoros salvaguardados por la institución, que dan cuenta de la vida social, cultural, empresarial, deportiva, política y cotidiana de Medellín y Antioquia a lo largo del siglo XX.
          Hasta el presente, al menos 173 libros de papel han sido publicados por la BPP, honrando la misión y las funciones definidas desde su creación en 1952. En 2022, se incorporó el primer libro digital propio en formato ePub, la antología Casi un libro de amor, de los talleres literarios de la BPP, y se reinició el trabajo editorial de la Biblioteca, con una nueva línea gráfica y colecciones renovadas para distintos temas y públicos. Estos libros leídos, discutidos, editados e impresos en la casa de todos constituyen hoy un fondo editorial que manifiesta el espíritu de la institución y se levanta como testigo vívido de las épocas por las que ha trasegado y como señal de las que apenas se asoman.
          El primer libro publicado por el fondo editorial de la BPP, La historia contra la pared, de Juan Zuleta Ferrer, “se terminó de imprimir el 24 de junio de 1978, en los talleres de Editorial Letras” en Medellín.
          Algunas carátulas de los libros del Fondo Editorial BPP.
          
    
    
    
    
    
    
    
    
    
    
    
    
    
    
    
    
    
    
    
    81
        Un puente entre tiempos
          
              
              
            
            El piloto que abrió nuevos rumbos
          NÚMERO
          
          018
          PÁGINAS AUTOR
          
          
    05
          Alfonso Buitrago Londoño
          
          Los artistas de Medellín vieron en La Piloto la oportunidad de tener un refugio. ¿Es capaz una biblioteca de albergar toda la cultura de una ciudad?
          mediados del siglo pasado Medellín era el centro industrial de Colombia: con más de 400 industrias y una población obrera de más de 25.000 trabajadores. Su desarrollo universitario y cultural iban en auge, pero el acceso a los libros era restringido para las clases sociales menos privilegiadas.
          Había 14 librerías, pero carecía de una biblioteca pública que satisficiera la creciente demanda y prestara material bibliográfico a cualquier persona que buscara instrucción o entretenimiento. Los trabajadores, los niños y las amas de casa no contaban con un lugar abierto que fomentara la lectura.
          La inauguración de la Biblioteca Pública Piloto de Medellín para América Latina, el 24 de octubre de 1954, significó una verdadera revolución cultural y democrática en el paisaje de producción fabril y de agitación comercial de la capital de Antioquia.
          TÍTULO
        82
        1. Jorge Luis Borges en el auditorio colmado de la BPP en 1978. AI-BPP.
          
    
    
    2. Manuel Mejía Vallejo y Fernando Vallejo de tertulia durante la década del 90. AI-BPP.
          
    3. Atrás, fuera de foco, Gloria Palomino, Manuel Mejía y Elkin Obregón. En primer plano Antonio Caballero y Juan José Hoyos, que tapa a Jaime Jaramillo. Reunión después de un ciclo de literatura dictado en la BPP. 1985. Archivo Jairo Osorio.
          4. El periodista Carlos Bueno junto a los escritores Gustavo Álvarez Gardeazábal y Juan Rulfo. 1979. Archivo Jairo Osorio.
          5. Camilo José Cela, en las oficinas de la BPP, invitado por la Alcaldía de Medellín. 1979. Archivo Jairo Osorio.
          
    83
        1. 2.
        3. 4. 5.
        Un puente entre tiempos
          84
          Si en estas tierras de topografía difícil y de pensamiento rígido los gestores culturales tuvieran la misma preponderancia social de los ingenieros, Julio César Arroyave, el primer director de la BPP, sería tan famoso como Alejandro López o Francisco José Cisneros, adalides del Ferrocarril de Antioquia. No es exagerado decir que la apertura de la BPP fue como atravesar otro túnel de La Quiebra, pero en el terreno intelectual.
          Pronto fue el centro neurálgico de la cultura antioqueña. Había conciertos, teatro, coro, Antigua Sala de Arte. AI-BPP.
          danza, tertulias, reuniones de clubes de autores, de cine y de fotografía. En 1955, se inauguró la Sala de Arte con la Exposición colectiva de pintores antioqueños, con 22 cuadros de artistas como Eladio Vélez, Horacio Longas y Luis Vieco. A partir de esa fecha, y luego con dos salas de exposiciones, fue el nido donde se incubaron importantes bienales.
          
    Y empezaron a aparecer nombres que marcarían una época: la niña Teresita Gómez, tocando piano; el maestro Pedro Nel Gómez, dando cátedra de arquitectura; Héctor Abad Gómez e Ignacio Vélez Escobar, hablando de la misión social de la universidad; y Manuel Mejía Vallejo, de literatura y de la cultura de los países centroamericanos.
          Dice el escritor Juan Diego Mejía, quien muchos años después sería director de la Fiesta del Libro de Medellín, que el año 1980 partió su vida en dos. A finales de ese año llegó al Taller de Escritores que Manuel Mejía Vallejo dirigía en La Piloto desde 1979. “Es mi historia fundacional”, dice Mejía. Allí encontró su “verdadero amor” y decidió convertirse en escritor.
          En ese taller, que había sido creado en febrero de 1978 por iniciativa de Alejandro González, quien había hecho una residencia de escritores en Iowa, Estados Unidos, aparecieron otros
          La Biblioteca Pública Piloto se inauguró el 24 de octubre de 1954, en la sede de la avenida La Playa (calle 52 n.o 42-37).
          Las exposiciones de arte pictórico y escultórico han nutrido por años la agenda cultural de la BPP.
          
    
    
    danza, tertulias, reuniones de clubes de autores, de cine y de fotografía. En 1955, se inauguró la Sala de Arte con la Exposición colectiva de pintores antioqueños, con 22 cuadros de artistas como Eladio Vélez, Horacio Longas y Luis Vieco. A partir de esa fecha, y luego con dos salas de ex posiciones, fue el nido donde se incubaron im portantes bienales.
          
    
    
    Y empezaron a aparecer nombres que mar carían una época: la niña Teresita Gómez, tocan do piano; el maestro Pedro Nel Gómez, dando
          84 Un puente entre tiempos
          como Luis Fernando Macías, Jairo Morales, Sergio Viera, Margarita María Santamaría, Édgar Trejos, Orlando Gallo y Lucía Victoria Torres.
          Atraídos por el magnetismo de Mejía Vallejo, quien ya había ganado el Premio Nadal (1963), por su taller también pasaron escritores reconocidos como Leonel Góngora, R. H. Moreno Durán, Fernando Cruz Kronfly y Álvaro Cepeda Samudio. No existían entonces en la ciudad las
          ferias y fiestas del libro que conocemos hoy y la Piloto se convirtió en el lugar ideal para recibir a escritores e intelectuales nacionales y extranjeros.
          Jairo Morales, quien fue monitor del taller desde sus inicios y quien lo dirige desde 1994 (cuando Mejía Vallejo tuvo que abandonarlo por razones de salud), recuerda la presencia de escritores como Jorge Luis Borges, Juan Rulfo,
          Las exposiciones de arte pictórico y escultórico han nutrido por años la agenda cultural de la BPP. Fabio Restrepo. 1977. AF-BPP.
          
    85
        Un puente entre tiempos
          86
          Camilo José Cela, Manuel Puig. “Rulfo era muy silencioso, Cela muy exuberante y Puig muy chistoso”, dice Morales y destaca la importancia del Fondo Editorial de la BPP, que cuenta con un catálogo de más de 150 títulos y fue donde se publicó por primera vez la producción del taller.
          La Piloto fue una vitrina abierta donde albergar, compartir y exhibir parte del conocimiento del mundo. Un ombligo piloto para América Latina que ataba a Medellín a una matriz universal. La demostración de que una biblioteca puede cambiar el rumbo de una ciudad.
          Impresos
          El boletín Los días uno tras otro fue un órgano informativo mensual de la Oficina de Comunicaciones y Asuntos Culturales, fundado y dirigido por Jairo Osorio Gómez, director entonces de esa oficina. El primer número se publicó en junio de 1987 para cubrir mayo-junio, y su última entrega, la número 17, salió a la luz en marzo de 1989, cubriendo los meses de febrero y marzo. Aunque su carácter era esencialmente informativo, agregaba aquí y allá comentarios sobre exposiciones artísticas individuales y colectivas, ciclos de conferencias y de lecturas, representaciones teatrales, ciclos de cine, muestras de videos, conciertos, recitales poéticos, exposiciones bibliográficas, presentaciones de libros, talleres literarios y audiciones de pedagogía musical. Le daba espacio también a las reseñas de libros de autores colombianos, además de divulgar la actividad normal de la biblioteca y de sus diferentes secciones.
          NÚMERO
          
          PÁGINAS AUTOR
          
          
    Carlos Mario González
          
          Íntimamente
          omos tantos en esta ciudad los que tenemos atravesada La Piloto en la memoria de nuestros primeros y juveniles escarceos con la cultura y luego a lo largo de toda nuestra vida. Sin exageración y sin alabanzas fáciles, he de decir que ninguna institución pública es tan entrañable para la gente de Medellín que ha frecuentado sus modestas instalaciones (¡nada que ver con la majestuosidad, solemnidad y belleza de muchas grandes bibliotecas del mundo!) como nuestra siempre querida Piloto. Decimos su nombre como lo más familiar, sin extrañarnos de él, sin la sorpresa de un amigo mío recién llegado a Medellín, quien sin poder entender preguntó sin ambages: “¿Qué quiere decir eso de ‘Piloto’ para una biblioteca?”. Nada, nosotros nos referimos a algo muy propio y cercano cuando decimos a alguien “¡listo!, nos vemos en La Piloto en la tarde”, sin
          87
        TÍTULO
        pública, esa podría ser una descripción de la BPP. Desde siempre ha estado abierta a quien quiera entrar.
          Pluralismo, educación pública y libertad, valga decir, La Piloto
          04 019
        Un puente entre tiempos
          88
          preguntarnos por el origen del nombre de nuestra preciada biblioteca.
          Pero a La Piloto no la queremos y le guardamos gratitud caprichosamente; todo lo contrario: es en gracia a su tenaz, perseverante y casi silenciosa labor en pro de la formación de las personas de la ciudad sin discriminación de nadie, por su continua labor, por elevar el nivel de sensibilidad y reflexión de los habitantes de Medellín y de quienes la siguen virtualmente.
          Una de las características de La Piloto que más profundamente me ha impresionado es su carácter verdaderamente público, es decir, su disposición a acoger a todo aquel que quiera traspasar sus puertas, sin exigir más que el deseo del visitante para estar allí. ¡Cuán diferente el paisaje humano que uno observa en La Piloto en comparación con, por ejemplo, el que se contempla en las bibliotecas universitarias de la ciudad! Mientras las universidades, cerradas como un fortín a la población, llenas de vigilantes, controles y exigencias, con perentorias normas que solo facilitan sus libros y materiales a quienes formen parte de la institución, repelentes de todo aquel que no pertenezca a ella, solo ofrecen a la vista la rutinaria imagen de profesores doctos y estudiantes en vías de serlo, ¡cuán diferente es el paisaje humano en La Piloto!; aquí
          se ven niños ante sus libros de literatura infantil, desempleados haciendo buen uso de su tiempo, jubilados de cara a un texto que copa sus horas, estudiantes de escuela, de colegio, de universidad realizando una consulta, el asistente habitual que lee el periódico, el animado por la voluntad de erudición leyendo su enésimo libro del mes, los que en la sección de préstamos presentan los libros que van a llevar a casa o los que van a devolver, porque La Piloto es un testimonio permanente de confianza en la gente, no solo por facilitarle el ingreso libre a quien quiera, sino por prestar sus libros o materiales con el único requisito de un documento de identidad y un número telefónico de un conocido, sin discriminación ni elitismo. Por eso La Piloto es pública de verdad y por eso contribuye a la cualificación cultural de la población; así cumple un verdadero cometido social, cosa que otras instituciones con más recursos no hacen por el espíritu de élite que las rige.
          Pero hay otro aspecto del papel social (y cuando digo social digo, en este caso, la ciudad sin exclusión) que juega La Piloto y que es obligatorio destacar. Se trata de la función formadora que lleva a cabo por medio de eventos que se conciben como continuos en el tiempo. Cuando se habla de educación, se habla de procesos
          Lucio Calle fue el primer lector registrado en la base de datos, el 25 de octubre de 1954.
          Afiches y programaciones culturales y académicas de la BPP. SA-BPP.
          
    
    
    
    
    
    89
        que se despliegan de forma perseverante e hilada, pues es lo que permite que se conforme un auditorio habitual que siga, física o virtualmente, una temática definida, gracias a lo cual puede avanzar y profundizar progresivamente en dicha temática o conocer diversas perspectivas desde donde es abordable. En 2017, por poner un ejemplo, en La Piloto se realizaron programas continuos tales como Diálogos en la Ciudad, Conmemoremos, Cátedra Luis Antonio Restrepo y Aula Abierta (estos dos últimos del Instituto de Filosofía de la Universidad de Antioquia). Estos programas atraen un público heterogéneo y asiduo que consigue hacerse a elementos de juicio a propósito de la temática desarrollada a lo largo del año, de donde deriva un efecto educativo que contribuye a elevar el nivel de conocimiento, reflexión y crítica de los asistentes fieles.
          Pero al carácter pluralista y a la función educativa La Piloto suma una tercera característica,
          que explica por qué es una institución que ha ganado en aprecio y valoración tanto en nuestra ciudad como fuera de ella. Se trata de su indeclinable respeto por la libertad de pensamiento y de expresión. Exigente en cuanto al rigor teórico de lo que ofrece en sus espacios, es, al tiempo, real garante de ese principio democratizador por excelencia del lazo social: la liberad de decir lo que se piensa, de hacer pública la concepción de la que se es portador, sin más requisito que la solvencia teórica y argumentativa para sustentar lo que se expone.
          En fin, por su irrestricto pluralismo, por la seriedad de su labor educativa y por su fidelidad con la libertad de pensamiento, La Piloto se ha sabido ganar siempre un lugar en el afecto de quienes algo hemos tenido que ver con ella; por todo lo dicho, la valoramos como una institución ejemplarmente democrática en una sociedad como la nuestra, frágil y restringida.
          90 Un puente entre tiempos
          La BPP tiene 213.017 libros. Esto equivale a más de la mitad del total de materiales disponibles en distintos formatos.
          
              
              
            
            Mis amores con La Piloto
          NÚMERO
          
          PÁGINAS AUTOR
          
          esde niño tengo relaciones íntimas con una biblioteca: la Piloto. Soy un deudor moroso (y amoroso) de sus servicios. En 1954, cuando empezó a culturizar gente llevando libros a los barrios en los famosos Bibliobuses, yo era uno de los usuarios. Los extraños carros de La Piloto, que parecían venidos de otros mundos, llegaban a la cuadra y, en plena calle, dejaban en manos infantiles o adultas el maná de la lectura. 15 días después repetían el ritual. Prestaban libros como quien regala el pan y la leche, artículos de primera necesidad… como los libros. La gente era buena como el pan. O la leche que dejaban en botellas en la puerta de las casas. Allí permanecían hasta que los legítimos dueños las retiraban. Dicho con el poeta-tallerista Jaime Jaramillo Escobar, La Piloto era la biblioteca personal de cada uno de nosotros. Entonces, como ahora,
          
    TÍTULO
        91
        Por años, la BPP fue la única biblioteca pública de la ciudad y, al mismo tiempo, la biblioteca personal de miles de lectores.
          Óscar Domínguez G. 04
          020
        Los jugadores de ajedrez, de manera anecdótica y sin proponérselo, llenaron de personalidad la sala de lectura Pedro Nel Gómez. AI-BPP.
          
    las casas se hacían sin espacio para los libros, es decir, para lo importante. En esto no hemos evolucionado mucho.
          No faltaban, eso sí, los libros de la Alegría de leer de Evangelista Quintana, el eterno best seller. A la Alegría llegábamos después de aprender a juntar vocales y consonantes de la mano de alguna maestra, soltera perpetua. Tampoco faltaba el Catecismo del padre Astete, que nos aprendíamos con preguntas y respuestas.
          Y como el mundo estaba tierno, muchos de los libros nos entraban por los oídos. Los escuchábamos en radionovelas como Lejos del nido de Juan José Botero, o El derecho de nacer de Félix B. Caignet. Obras que nos esperaban en La Piloto.
          Por esas calendas (años 50), cuando tenía la sede en La Playa, la montaña de libros iba a nosotros. Desde 1974, nosotros vamos a la montaña en su actual enclave entre la autopista y la calle Colombia, en el barrio Carlos E. Restrepo, convertido en pulmón y zona de distensión cultural. Rompe el paisaje una funeraria que nos recuerda nuestra condición de mortales. Nada que ver con la vocación de eternidad que tienen las novelas.
          
    Un pajarito me contó que los personajes de los libros que habitan La Piloto vivieron dos años
          
    93
        El famoso Bibliobus llevaba los servicios bibliotecarios a muchos barrios de la ciudad. AI-BPP
          Un puente entre tiempos
          94
          más aburridos que una cacatúa, sin nadie que los leyera. Don Quijote y Sancho se desesperaban en su forzoso sabático. Estaban que tiraban la toalla a la espera de que concluyeran las necesarias tareas de latonería y pintura a que fue sometida la vieja estructura.
          La Torre de la Memoria le ha dado una mano a la hermana mayor. No tiene cara de torre, pero tiene la memoria de Funes, el personaje de Borges: alberga la Sala Antioquia y el Archivo Fotográfico. Ah, y nunca ha dejado ser el auditorio que tiene a la entrada, temporalmente, el bronce de Barba Jacob, obra de Óscar Rojas. Cerca está el de Otto Morales de Arenas Betancur.
          En los alrededores de La Piloto me parece ver deambulando a Montaigne, Wilde, Molière, Víctor Hugo, Aristófanes, Dumas, Verne, Salgari, Carrasquilla, Mejía Vallejo, García Márquez y otros creadores que han hecho mejores nuestros propios mundos. Estos inmortales se confunden con otros desparchados: anónimos lectores de la prensa diaria y revistas, talleristas y jugadores de ajedrez que se han tomado locales vecinos para no faltar a las citas con la diosa Caissa los martes y jueves, fans de películas del Hitchcock, Fellini, o del oeste, las mismas que veíamos en los cinemas paradisos de nuestra infancia, la única época en la que todos somos inmortales.
          Un tallerista, Jairo Morales Henao, recuerda que al comienzo de los trabajos “veía uno a esos usuarios caseros, tradicionales, rondando frente a la entrada, sumidos en la ‘güerfandá’, según decía el viejo Carrasquilla”. Morales Henao dicta su taller en la Torre.
          Cierro el departamento de citas con Janeth Posada, que heredó de Lucía Donadío la conducción de otro taller de creación que funciona en Los Colores: “… quizás las puertas abiertas de uno de los símbolos de desarrollo cultural de Medellín nos devuelvan un poquito de esperanza”.
          Los lectores de prensa, otros de los personajes habituales de la BPP. AI-BPP.
          
    
    
    
    
    
    
    
    
              
              
            
            Una colección de arte en una biblioteca
          NÚMERO
          
          
              
              
            
            021
          PÁGINAS AUTOR
          
          
    Carlos Uribe 06
          
          La BPP fue también casa de artistas, a falta de otros espacios. Las obras siguen ahí, para acudir a ellas como a los libros.
          a importancia de la Biblioteca Pública Piloto de Medellín en el desarrollo y la dinámica de las artes visuales en Antioquia se remonta a los años 70 del siglo pasado. Ante la ausencia en la ciudad de un museo de arte moderno, la BPP concentró durante una década la atención de artistas, galeristas y críticos, quienes encontraron en sus salas de exposiciones y en la amplitud del edificio la mejor plataforma para programar muestras.
          Exposiciones individuales de creadores representativos como Fernando Botero, Alejandro Obregón, Ómar Rayo, Pedro Nel Gómez, Dora Ramírez, Maripaz Jaramillo, León Ruiz, Édgar Negret, Germán Botero, María Teresa Cano, José Antonio Suárez, Nadín Ospina y el Taller Cuatro Rojo, por mencionar solo algunos, dan fe de la importancia cultural de la BPP en el contexto de la vanguardia plástica nacional. Además, fue
          95
        TÍTULO
        96 Un puente entre tiempos
          sede del 1.er Salón Regional de Artistas Colombianos de la zona Occidente en 1976, del 2.o en 1978, del 3.o en 1980 y del 4.o y último en 1985, cuando fue relevada por el naciente Museo de Arte Moderno de Medellín, vecino en el sector Carlos E. Restrepo.
          
    La BPP fue igualmente un laboratorio de experimentación y puesta en escena de nuevas tendencias: en 1980, la exposición Artistas jóvenes de Antioquia reunió parcialmente nombres y obras de artistas que trazaban su labor creadora en el medio con riesgo y proyección. Entre los seleccionados estaban Juan Camilo Uribe, Félix Ángel, Francisco Valderrama, Javier Restrepo, Marta Elena Vélez, Jorge Cárdenas, Rodrigo Callejas, Hugo Zapata, Óscar Jaramillo, Dora Ramírez, Pascual Ruiz, Humberto Pérez, Álvaro Marín, John Castles, Armando Londoño, Ethel
          Gilmour, Aníbal Gil, Aníbal Vallejo, Saturnino Ramírez y Mario Arango.
          Ese mismo año se presentó una exposición del innovador Taller Central de la carrera de Artes de la Universidad Nacional, sede Medellín. Esta exposición contó con 40 pinturas y obras gráficas de Juan Cristóbal Aguilar, Luis Fernando Escobar, Alba Cecilia Gutiérrez, Marta Lucía Ramírez, Ana Libia Vélez, Francisco Aníbal Correa, Álvaro Ceballos, Germán Uribe, Juan Luis Mesa y María José Morales. Servir de espacio simultáneo de confrontación para los jóvenes y expertos, así como de sede de talleres experimentales en artes plásticas para las jóvenes generaciones, convocó a lo más notable de la escena visual. Ejemplo de esto es el recordado Taller de Gráfica Experimental que formó a promesas del arte local como Julián Posada, Carlos Echeverri, Adolfo Bernal, Beatriz Jaramillo, entre otros.
          La presencia de estos artistas y de otros no mencionados facilitó que la BPP iniciara una colección, por adquisición o donaciones, que hoy alberga 348 obras de arte de diferentes géneros y técnicas. Sin pretensiones, es un compendio del arte contemporáneo de la región y contiene valiosas piezas que cualquier museo desearía para su guion museológico. Las siguientes resumen la diversidad y el valor de esta colección:
          La Sala de Arte, donde se exhibió la obra de Omar Rayo. AI-BPP.
          1. 2.
          2. 1.
          Carro I y Carro II (1983), Javier Restrepo; acrílico sobre tela (díptico).
          
    
    BPP fachada (1961), Aníbal Gil; óleo sobre tela.
          
    98 Un puente entre tiempos
          Mata de maíz (1983), Antonio Caro; serigrafía sobre papel.
          
    
    
    
    Hierba (1981), Luis Fernando Valencia; fotografía positivo b/n.
          
    Serie Retratos: Bolívar, Nariño, Santander (1975), Guillermo Cuartas; acrílico sobre tela.
          Caricaturas (1920), Ricardo Rendón; litografía sobre cartón.
          
    La vida y la muerte caminando por aquí, por allá (1987), Jean Gabriel Thenot; óleo sobre lona.
          
    Paisaje (1984), Rodrigo Callejas; óleo sobre lona.
          
    Porfirio Barba Jacob (1979), Óscar Rojas; bronce.
          
    99
        Un puente entre tiempos
          100
          
    
    3.
          1. 2. 3.
          
    Pedro (1974), Fernando Botero; óleo sobre tela. Homenaje (1976), Juan Camilo Uribe; collage Autorretrato (1973), Dora Ramírez; óleo sobre tela. 1. 2.
        TÍTULO NÚMERO
          
          
              
              
            
            vestigios del arte en Antioquia con pintura, cal y barro Manuela
          022
          
          La piel de la Biblioteca son los libros, y también los murales que los artistas pintaron para darle la apariencia que se merecía por ser el corazón cultural de la ciudad.
          n 1954, en el hemisferio occidental se replicó lo que acababa de ocurrir en la India: se construyó una Biblioteca Pública Piloto. Cuando ese bellísimo golpe de suerte ocurría en la Conferencia General de la Unesco, celebrada en París, se ignoraban las coincidencias que tendría en relación con el desarrollo artístico de Medellín. Esta pequeña ciudad asentada en un ramal andino, en la esquina noroeste de Suramérica, se distinguiría, entre otras cosas, por ser un estrado de exposición de arte de vanguardia en Colombia.
          
          Ya en 1870 la Biblioteca Soberana del Estado de Antioquia había visto la luz. También la Escuela de Artes y Oficios. A finales del siglo XIX, las artes estaban en procura de dar respuesta a una identidad menos arraigada al campesinado y con miras a una formación artesana más técnica. La carpintería y la pintura esbozaban las
          
    PÁGINAS AUTORA 101
        Tres
          Saldarriaga 06
          102 Un puente entre tiempos
          particularidades del arte que se produciría en Medellín. Se hablaba de una veintena de pintores a principios del XX y de un nombre en especial: Francisco Antonio Cano.
          En 1964, ese experimento de cultura social que era la Piloto se traslada de La Playa al sector de Otrabanda, hoy Suramericana. En 1974, 10 años después, Darío Alberto Restrepo asume la dirección e inaugura una sala de arte con una exposición de tintas, acuarelas, carboncillos, óleos, collages y pasteles de Fernando Botero, y con una exposición de Alejandro Obregón. Tres años después, en 1977, escribe Botero desde el mismísimo corazón de París anunciando que regalaría el cuadro Pedro para la pinacoteca de la Biblioteca.
          En 1975, para la celebración del tricentenario de Medellín, Restrepo, el director, junto con Darío Ruiz Gómez y Dora Ramírez, presenta una exposición con más de 100 obras de Débora Arango, quien desde la década del 50 no pintaba. Después de Botero y Obregón, pintores como Enrique Grau, Pedro Nel Gómez, Luis Caballero, Augusto Rendón, Beatriz González, Rodolfo Abularach (Guatemala), –estos últimos expuestos bajo la curaduría de Alberto Sierra– y Félix Ángel, entre otros, formaron parte del paisaje virtuoso de la época y expusieron
          con espectadores asiduos entre el ambiente de estantes.
          Un primer mural aparece en 1969 con Dora Ramírez, quien, con 17 niños de su taller de pintura, crea El mundo que nos rodea. Luego, entre 1975 y 1977, crea otros murales con sus pupilos, de los que actualmente solo queda el de la sala general, sobre Colombia precolombina. Martha Calad, consultora de moda y quien ha estado vinculada por años al mundo del diseño, recuerda haber formado parte de esos murales: “Yo tenía siete u ocho años y recibía clases de pintura los sábados en la mañana con Dora Ramírez. Un día nos dice al grupo que íbamos a hacer un mural en la Biblioteca, y como iba a ser algo que iba a quedar por mucho tiempo, nos pidió que nos inspiráramos en el futuro. No sé de dónde, pues yo estaba muy pequeña, pinté un ‘computador’. La idea fue pintar una máquina llena de botones y colores contrastantes. Me angustié mucho, pues quería que quedara claro qué era ese aparato y le puse el nombre. El problema fue que no me cupo en el espacio y quedó “comput”. Sin embargo, ella me dijo que no me preocupara, que no había ningún problema. El mural lo hicimos durante varios sábados”.
          En 1980, cuando Juan Luis Mejía dirige la Biblioteca, Pedro Nel Gómez hace un segundo
          1. La posibilidad de leer y estudiar rodeado de obras de arte. AI-BPP.
          2. Antonio Caro frente al mural de Pedro Nel. Montaje de la exposición conjunta con Alicia Barney y Carlos Echeverri, en la Sala de Arte de la BPP. 1985. Archivo Jairo Osorio.
          
    
    3. Restauración al mural Homenaje a la inteligencia antioqueña de Pedro Nel Gómez. AI-BPP.
          
    103 1.
        2. 3.
        Un puente entre tiempos
          mural en conmemoración de los 25 años y gracias al Acuerdo municipal nº. 15 de 1979, que obligaba a realizar una obra de arte a quienes construyeran determinadas áreas. El fresco, que tiene por nombre Homenaje a la inteligencia antioqueña, hace alusión más a un anhelo que a un reconocimiento de la sociedad, y propone la educación como camino a la emancipación de un pueblo.
          El mismo año, en agosto, se alza generoso el tercer mural. Este fue una intervención del ceramista Pablo Jaramillo, llamada Tierra, agua, aire y fuego. Como el de Ramírez y sus niños, se inspiró en la disposición estética de figuras precolombinas atadas al simbolismo de los elementos. Sus cuerpos sólidos, que proponen un
          juego visual, están compuestos por esquemas de pares que, por ser de barro, conservan la textura corrugada sobre una superficie plana. Paralelo a este mural, el artista Jaramillo expuso 30 cerámicas.
          La memoria plástica que ha conservado en sus instalaciones durante más de medio siglo la Biblioteca Pública Piloto expresa con cal y canto, en suma, las aspiraciones de una época en avance sin contención y define una afición vital por la apreciación y análisis del desarrollo social de lo que se entendió por identidad y de lo que el arte produjo sobre una idea de progreso, así como lo que la idea de progreso produjo sobre el arte.
          Dora Ramírez supervisa la pintura del gran mural de la sede central. 1975. Fabio Restrepo. AF-BPP.
          
    104
        Procesos de restauración de los murales de la BPP durante la renovación del edificio. AI-BPP.
          
    
    
    105
        Un puente entre tiempos
          106
          Mural alegórico a los cuatro elementos del universo elaborado por Pablo Jaramillo, ubicado en la entrada de la Biblioteca. AI-BPP.
          
    
    
    
    
    a Sala Antioquia se abrió al público en abril de 1985. Contaba en ese comienzo con 1500 libros, 1000 ejemplares de revistas reunidos en 100 títulos, 500 folletos. Este fondo documental había sido conformado por el bibliófilo antioqueño Bernardo Montoya en años de tozudos rastreos por librerías anticuarias colombianas y también de Quito, La Paz, Lima, Buenos Aires y capitales centroamericanas.
          
    Enterado de la existencia de esa colección, el doctor Juan Luis Mejía Arango se propuso que fuera adquirida por la Biblioteca Pública Piloto. Con el apoyo de Antonio Álvarez Restrepo, miembro de la Junta Directiva del Banco de la República, y Juan Manuel Ospina, director cultural de la entidad, fue comprada por el Banco, que la regaló a la Biblioteca Pública Piloto en 1984, y fue entregada ese mismo año a su directora, Gloria Inés Palomino.
          
    107
        Un puente entre tiempos
          
    
    
    Mural alegórico a los cuatro elementos del universo elaborado por Pablo Jaramillo, ubicado en la entrada de la Biblioteca. AI-BPP.
          
    
    
    
    106
        
              
              
            
            Una sala para leer a Antioquia
          NÚMERO
          
          
              
              
            
            023
          PÁGINAS AUTOR
          
          
    Jairo Morales Henao 05
          
          a Sala Antioquia se abrió al público en abril de 1985. Contaba en ese comienzo con 1500 libros, 1000 ejemplares de revistas reunidos en 100 títulos, 500 folletos. Este fondo documental había sido conformado por el bibliófilo antioqueño Bernardo Montoya en años de tozudos rastreos por librerías anticuarias colombianas y también de Quito, La Paz, Lima, Buenos Aires y capitales centroamericanas. Enterado de la existencia de esa colección, el doctor Juan Luis Mejía Arango se propuso que fuera adquirida por la Biblioteca Pública Piloto. Con el apoyo de Antonio Álvarez Restrepo, miembro de la Junta Directiva del Banco de la República, y Juan Manuel Ospina, director cultural de la entidad, fue comprada por el Banco, que la regaló a la Biblioteca Pública Piloto en 1984, y fue entregada ese mismo año a su directora, Gloria Inés Palomino.
          TÍTULO
        107
        La Sala Antioquia no solo reúne la obra de autores antioqueños sino todo lo que se ha escrito sobre el departamento y sus vecinos Caldas, Quindío y Risaralda.
          Un puente entre tiempos
          A partir de entonces la BPP se propuso consolidar una sección patrimonial cuyo propósito fuera recuperar, conservar, organizar y difundir el patrimonio bibliográfico de la región antioqueña, entendiéndose por esta al territorio de Antioquia y los departamentos de Caldas, Quindío y Risaralda.
          Desde un comienzo la sección desplegó su actividad con base en otro criterio diferenciador: se concebía, más que como una biblioteca de autores antioqueños, como una biblioteca
          temática, en la que cabían obras de autores que se ocuparan de la región, así fueran originarios de otros lugares.
          Esas características definían el público para el que se destinaba la Sala Antioquia: investigadores y estudiantes universitarios, principalmente, interesados en cualquiera de las temáticas que conforman la totalidad de las áreas del conocimiento, pero enfocadas a la región antioqueña. 31 años después de aquel inicio, el inventario realizado en el año 2016 da cuenta de la existencia de 27.367 libros, correspondientes a 18.724 títulos; 2883 folletos, recogidos en 2212 títulos; 21.374 ejemplares de revistas, agrupadas bajo 2079 títulos; 2606 títulos de catálogos de arte y 737 mapas y planos. También se cuenta con dos colecciones personales notables: la del poeta León de Greiff, con 3793 libros relativos a 3727 títulos, y la de su hermano, el poeta, musicólogo y traductor Otto de Greiff, con 7283 ejemplares, recogidos en 3431 títulos, a lo que habría que agregar su colección discográfica.
          La Sala Antioquia ha ido adquiriendo una valiosísima colección de fondos personales e institucionales. Del total de 30 fondos y 6 colecciones, según inventario de 2021, mencionamos, en aras de la brevedad, los de Adel López Gómez, Manuel Mejía Vallejo, José Restrepo
          Catálogo impreso para Exposición de Joyas Bibliográficas, Sala Antioquia 10 años, publicado en 1995. SA-BPP.
          
    108
        Jaramillo, Carlos Castro Saavedra, el movimiento nadaísta, Ciro Mendía, Diego Calle Restrepo, Efe Gómez y Luciano Londoño, donado a la Sala Antioquia en 2019.
          Otras colecciones sobresalientes son las de revistas culturales de los siglos XIX y XX, como Alpha, La Miscelánea, El Montañés, El Repertorio, Lectura y Arte, Vida Nueva, Claridad, Panida, Cyrano, Sábado y Antioquia. Y de periódicos de los mismos siglos, como El Correo de Antioquia, La Organización, El Bateo, El Correo Liberal, El Heraldo de Antioquia y El Diario.
          En 1987, el Banco de la República le encomendó a la BPP la coordinación del inventario de caricaturas publicadas por antioqueños en diferentes épocas y medios, principalmente durante el siglo XX. El resultado fue una recopilación de cerca de 2000 caricaturas, entre originales, reproducciones fotográficas, negativos,
          
    
    e impresas. El Fondo de Caricaturas de la Sala Antioquia, uno de sus más notables, continuó desarrollándose hasta contar hoy con un total aproximado de 10.000 caricaturas, en diferentes formatos. En 2015, se hizo una exposición gráfica que fue acompañada por un catálogo titulado Panorama de la caricatura en Antioquia en el siglo XX
          
    Otra área documental de gran utilidad para toda clase de consultas es el Archivo Vertical (conformado en lo fundamental por recortes de prensa). Contiene cerca de 450 temas, de índole muy diversa, como barrios y calles de Medellín, municipios de Antioquia, Ferrocarril de Antioquia, colonización antioqueña, minería, café, historia del transporte, plazas de mercado, Guayaquil, Festival de Poesía, teatro, cine, etc.
          Todo ese acervo documental ha sido utilizado por investigadores y estudiantes de la
          Alojada inicialmente en el edificio principal, la Sala Antioquia fue traslada luego a la Torre de la Memoria. AI-BPP.
          109
        Un puente entre tiempos
          110
          ciudad, la región, el país, y aun fuera de Colombia. Artículos, tesis de grado, libros, reediciones facsimilares, videos, obras de teatro y colecciones completas como la Biblioteca Básica de Medellín, editada por el Instituto Tecnológico Metropolitano, encontraron allí su primer estímulo y, en muchas ocasiones, acompañaron de principio a fin el desarrollo completo de la obra. Con motivo de los 10 años de funcionamiento de la Sala Antioquia, entre 1995 y 1997 se editaron catálogos sobre Adel López Gómez, los Panidas, Botánicos Antioqueños, Joyas Bibliográficas de la Sala Antioquia, José
          
    María Bravo Márquez y José Restrepo Jaramillo. Anteriormente, en 1994, y con el apoyo de la Secretaría de Educación y Cultura de Antioquia, el Museo Histórico, la Casa Museo Fernando González y la Dirección de Extensión Cultural de la Biblioteca Pública Piloto, se había editado el catálogo Viaje a la presencia de Fernando González.
          A partir de 1996 se comenzó a publicar el boletín cultural y bibliográfico Escritos desde la Sala, que divulga la historia y la cultura de la región antioqueña. Colaboran en él personas expertas en diferentes temas, externas a la institución y
          Escritos desde la Sala. Boletín cultural y bibliográfico coleccionable de la Sala Antioquia que circula desde 1996. SA-BPP.
          también pertenecientes a ella, como su editor general y quienes han trabajado en su diseño, especialmente José Gabriel Baena (q. e. p. d.).
          Y con motivo de los 25 años se editaron 15 entregas de un plegable temático titulado Coleccionables, donde divulgaron colecciones con temas como prensa alternativa, cocina, cartillas de lectura, revistas de empresas, etc.
          Miguel Escobar Calle fue el curador de la Sala Antioquia y han prestado sus servicios en ella Luz Posada de Greiff, Yohem Taborda, Cristina Silva, Patricia Cataño, Juan de Dios López Cano, Teresa Naranjo, Luz Daris Escobar, María Elena Palacio, Alejandra Quintero y quien esto escribe, Jairo Morales Henao.
          Impresos
          El boletín cultural y bibliográfico Escritos desde la Sala es un medio de difusión y construcción de nuestra identidad cultural regional, adscrito a la Sala Antioquia de la BPP; surgió por iniciativa del coordinador de esa sección, Jairo Morales Henao, quien ha sido su editor. Su primera entrega apareció en septiembre de 1996. Desde entonces se han publicado 28 entregas, la más reciente en 2022. Este boletín acoge artículos de colaboradores de la institución y externos a ella sobre la historia y la cultura de la región antioqueña, relacionados con temas de arquitectura, urbanismo, música clásica y popular, artes plásticas, fotografía, caricatura, poesía, narrativa, crítica literaria, arte religioso, botánica, publicaciones periódicas, folclor, librerías, libros antiguos y nuevos de autores antioqueños, bibliotecas patrimoniales, genealogías, personajes, entre otros.
          111
        Mosaico de libros, partituras, documentos y caricaturas que se salvaguardan en la Sala Antioquia. SA-BPP.
          
    
    
    
    
    
    
    
    
    
    
    
    
    
    
    
    
    
    
    
    
    112
        Un puente entre tiempos
        Joyas de la Sala Antioquia: libros raros, documentos especiales y objetos curiosos
          PÁGINAS AUTOR
          
          
    NÚMERO Carlos Uribe 010
          
          Disponibles para quien los quiera encontrar, estos son los tesoros que alberga la BPP. procedencias o por diferentes intereses, y han nutrido sus unidades patrimoniales. La Sala Antioquia es una de estas unidades y opera desde abril de 1985 como una plataforma de consulta física y digital para interesados e investigadores en contenidos históricos de la cultura regional.
          a BPP ha atesorado desde 1977 cerca de dos millones de piezas patrimoniales: fondos y colecciones de fotografía histórica, libros incunables, bibliografía, documentos manuscritos, mecanografiados y digitales, objetos de arte invaluables para la historia local y para la memoria regional ante el mundo. Estos bienes materiales de carácter documental y archivístico, que por su valor irrepetible e irremplazable son denominados hitos, emblemas o legado de la ciudad y la nación, o sea, son testimonios originales y delegatarios de nuestra memoria como sociedad, han ingresado históricamente a la BPP desde diversas
          Los documentos patrimoniales se clasifican cronológicamente y en su valoración se estima su aporte histórico o patrimonial (único e irrepetible, si lo fuere), su carácter estético, sociocultural y la importancia de su autor en el contexto del pensamiento de la época. Esta es una selección de los emblemas más representativos:
          113
        TÍTULO
        024
        Un puente entre tiempos
          114
          Las siete partidas del rey don Alfonso el Sabio, 1781.
          
    Redactadas por el rey Alfonso X, el Sabio, entre 1256 y 1265, están entre las obras más importantes de la Edad Media. Conocidas también como Las partidas, abarcan todo el saber jurídico de la época dentro de una visión unitaria, por eso se consideran una summa del derecho. Las
          Memoria científica sobre el cultivo del maíz en los climas cálidos del Estado de Antioquia, 1872. Primera edición publicada como homenaje a Gregorio Gutiérrez González en el año de su muerte. El libro, editado en Bogotá, trae una notica, introducción o prólogo del Tuerto Camilo Antonio Echeverri y puede catalogarse como una curiosidad bibliográfica. tres ediciones con que cuenta la BPP corresponden a los dos libros de la Quarta partida y la Quinta partida, publicados en 1767, y un tercero de la Quarta, que incluye el índice de las leyes y glosas de las siete partidas, editadas por el licenciado y editor de la corona, Gregorio López, en 1789.
          
    Cuadros de la naturaleza y Curso compendiado de historia natural, 1912.
          De la fecunda y novedosa producción de Joaquín Antonio Uribe están las distintas ediciones de Cuadros de la naturaleza, 1912, 1920, 1930, 1958, 1985; Curso compendiado de historia natural,
          
    
    
    1912, 1924; y El niño naturalista, 1935, 1944, 1958. Estas publicaciones nos permiten un panorama sobre el desarrollo de las ciencias naturales en Colombia a lo largo de poco más de un siglo.
          Pensamientos de un viejo de Fernando González. Primera edición, 1916. Autografiada para el periodista Horacio Franco, carátula de Ricardo Rendón y prólogo de Fidel Cano, este libro representa el momento fundacional de la producción filosófica, literaria y ensayística de González.
          
    115
        Maízopolis: monografías de los distritos antioqueños de Jorge Rodríguez. Editorial El Correo Liberal, 1915.
          
    116 Un puente entre tiempos
          La Constitución del Estado de Antioquia, 1812. Álbum de afectos íntimos de Fabricio Villa (manuscrito), 1880-1883. Editada en la imprenta de Bruno Espinosa en Bogotá por don Nicomedes Lora, es la declaración previa a la independencia del Estado, que se dio el 7 de febrero de 1813. Esta carta constitucional fue expedida en Rionegro por 19 constituyentes elegidos entre los principales habitantes de las ciudades de Antioquia y Rionegro, de las villas de Medellín y Marinilla
          y del departamento del Nordeste; firmaron la Constitución el 23 de marzo y el 3 de mayo de 1812 fue aceptada por el pueblo. El proyecto fue elaborado cuidadosamente por los representantes antioqueños al Congreso de las Provincias Unidas, José Manuel Restrepo y Juan del Corral, con la colaboración de José Antonio Gómez Londoño.
          
    Antioquia Literaria, colección de las mejores producciones de los escritores antioqueños desde 1812 hasta hoy, publicadas e inéditas, con reseñas bibliográficas, 1878.
          
    Compilada por el literato Juan José Molina e impresa por la Imprenta del Estado, no es ninguna exageración decir que la importancia cultural de esta obra es excepcional dentro de las letras antioqueñas. Representa el primer esfuerzo sistemático por darle cuerpo a lo que ya constituía una tradición de casi 70 años desde la
          Independencia, tradición que se encontraba dispersa en múltiples publicaciones de autores diversos, y le dio vida a un estudio concreto sobre el panorama literario en la región. El criterio de selección fue amplio en materia de géneros y autores: discursos, poemas, ensayos, cuadros de costumbres, notas de viajes y 86 escritores incluidos.
          Primera edición de El Correo de Antioquia, 1875. Fue el primer periódico diario que se publicó en el departamento. Dentro de su pequeño formato (12 cm de ancho por 14 cm de alto) y muy reducida letra (5 puntos), este precursor de nuestra prensa fue un fiel y acucioso testigo de los acontecimientos, sueños y proyectos del pueblo antioqueño. A lo largo de sus escasos 50 números (desde el 15 de febrero de 1875 hasta el 21 de abril de 1875), siguió el ideario conservador y reformista del gobernador del Estado Pedro Justo Berrío.
          
    117
        Un puente entre tiempos
          118
          Diccionario abreviado de galicismos, provincialismos y correcciones del lenguaje de Rafael Uribe Uribe. Primera edición, Medellín. Imprenta del Departamento, 1887.
          
    Primera edición de Frutos de mi tierra de Tomás Carrasquilla, 1896.
          
    Esta obra es la primera novela de Tomás Carrasquilla y fue editada en Bogotá por la Librería Nueva. En esta el autor revela sus extraordinarias dotes de creador de personajes y sus virtudes en el manejo del lenguaje. A lo largo de 30 capítulos, Carrasquilla cautiva al lector en un intrincado mundo de pasiones humanas. Son dos historias: la
          de los Alzate, representados por Augusto, Filomena, Mina y Nieves, hermanos entre sí y de origen humilde; a pesar de ser huérfanos, con disciplina y tenacidad se convierten en comerciantes solventes; y la de Martín Gala, joven rico que asume las poses del cachaco bogotano para lograr el amor de la hermosa y esquiva Pepa Escandón.
          El crimen de Aguacatal, 1874.
          
    Escrita por Francisco de Paula Muñoz y publicada por la Imprenta del Estado en Medellín. Aunque esta imprenta ya había dado a luz muchos documentos, este es el primer libro propiamente dicho salido de sus prensas. El crimen de Aguacatal (o la historia de Daniel Hachero, como empezó a denominársele con el paso de los años), conmovió a toda Antioquia y a buena parte del país. El número de víctimas de una misma familia, la brutalidad con la que se cometió la masacre y la aparente arbitrariedad de esta convirtieron
          este crimen en una leyenda. La minuciosidad de las descripciones, la reproducción de los diálogos y la detallada reconstrucción de los hechos hacen de este libro un documento imprescindible de la época, de la historia de nuestro periodismo y de nuestra literatura. Ese mismo año apareció una segunda publicación de carácter oficial, que, con los aportes del exfiscal 1.° del Circuito de Medellín, describe el paso a paso de la sentencia y el protocolo jurídico con el que se procedió a juzgar a los implicados.
          
    El paso de La Quiebra en el Ferrocarril de Antioquia, tesis de grado del ingeniero Alejandro López, publicada en los Anales del Colegio de Zea, 1899.
          Revista Lectura y Arte, 12 números. Medellín, n.o 1, julio de 1903, a n.o 12, febrero de 1906.
          Celebración del 2.° centenario de la fundación de la villa de Medellín (folleto), 1875.
          119
        Un puente entre tiempos
          120
          Rosas negras de Porfirio Barba Jacob. Primera edición, 1933.
          
    
    El ejemplar existente de Rosas negras, impreso en Ciudad de Guatemala, forma parte de una escasa y perseguida edición (perseguida por los bibliófilos) que preparó en 1932 Rafael Arévalo Martínez y que publicó sin autorización del poeta. La carátula es un diseño exquisito de Arce y Valladares, uno de los más reconocidos dibujantes y caricaturistas centroamericanos.
          
    Correspondencia y documentación epistolar personal e institucional.
          Entre los emblemas de las colecciones bibliográficas y hemerográficas de la Sala Antioquia y el acervo de bibliotecas de autor se incluye además una valiosa correspondencia perteneciente a Manuel Uribe Ángel, Elías
          
    González, Luis Lalinde, Andrés Ripol, Fernando González, Camilo C. Restrepo, Pastor Restrepo, Próspero Restrepo y Marceliano Restrepo. Así mismo, los interesados pueden encontrar postales y cartas de los fundadores del movimiento nadaísta
          y toda su pléyade de epígonos, al igual que las emitidas o recibidas por Manuel Mejía Vallejo, Carlos Castro Saavedra, Efe Gómez, Adel López Gómez, Porfirio Barba Jacob, León de Greiff, Otto de Greiff, Ciro Mendía, Belisario Betancur, Joaquín Antonio Uribe, Lorenzo Uribe, Marceliano Posada, Coriolano Amador, Pedro Pablo Betancur, José Restrepo Jaramillo, Joaquín Pérez Villa, Haydee Eastman, Inés Peláez Mejía y, recientemente, del periodista y escritor Óscar Hernández.
          Documentación del género musical y partituras de piezas musicales.
          
    La Sala Antioquia conserva igualmente partituras originales de singular importancia de maestros como Gonzalo Vidal, José María Tena, Carlos Vieco Ortiz, José María Bravo Márquez, entre otros.
          Mapoteca y planoteca.
          Diversos planos y mapas, privados y estatales, se ofrecen a los investigadores para analizar las dinámicas económicas de la región antioqueña y el desarrollo urbano de Medellín y su área metropolitana, principalmente. Se destacan por su carácter patrimonial y estético el Plano de Las Playas, finca propiedad
          de los hermanos Eliseo y Antonio María Cuartas, fechado en 1913, lote donde opera el Aeropuerto Enrique Olaya Herrera, y el Mapa del departamento de Antioquia dibujado por Arturo Longas en 1926 para promocionar empréstitos para el Ferrocarril de Antioquia en Europa.
          
    121
        Un puente entre tiempos
          
    Antiguos empaques para papel fotográfico y placas (negativos) de vidrio que se conservan en el Archivo Fotográfico. AI-BPP.
          
    
    
    
    
    
    
    
    
    
    
    
    
    
    
    
    
    
    
    
    
    
    
    
    
    
    122
        a Biblioteca Pública Piloto de Medellín inició en 1978 su colección de imáge nes fotográficas. Pasados casi 40 años, hoy los datos estadísticos asombran: cerca de dos millones de imágenes organizadas en 36 fondos fotográficos y 30.000 imágenes disponibles en un repositorio digital; además, un intervalo de tiempo que va desde 1846 hasta la actualidad, con la incorporación de los archivos de los fotó grafos Pablo Guerrero y Juan Fernando Ospina.
          Sin que sea este un argumento central, los números respaldan la certidumbre de encontrar nos ante una de las colecciones patrimoniales más importantes de América Latina y el mun do. Y aunque esta afirmación no se justifica so lamente en las cifras, valores tan sorprendentes sí nos sirven de indicadores para decir que la re levancia se sustenta en la concentración del trabajo visual de un conjunto muy representativo
          
    
    123
        Un puente entre tiempos
          
    
    Antiguos empaques para papel fotográfico y placas (negativos) de vidrio que se conservan en el Archivo Fotográfico. AI-BPP.
          
    
    
    
    
    
    
    
    
    
    
    
    
    
    
    122
        
              
              
            
            La Torre de la Memoria y su atlas de instantáneas
          NÚMERO
          
          PÁGINAS AUTOR
          
          
    06
          Gabriel Mario Vélez
          
          Gran parte del patrimonio fotográfico de Antioquia se reúne en un solo lugar dedicado a mantener vivas las historias del pasado.
          a Biblioteca Pública Piloto de Medellín inició en 1978 su colección de imágenes fotográficas. Pasados casi 40 años, hoy los datos estadísticos asombran: cerca de dos millones de imágenes organizadas en 36 fondos fotográficos y 30.000 imágenes disponibles en un repositorio digital; además, un intervalo de tiempo que va desde 1846 hasta la actualidad, con la incorporación de los archivos de los fotógrafos Pablo Guerrero y Juan Fernando Ospina.
          Sin que sea este un argumento central, los números respaldan la certidumbre de encontrarnos ante una de las colecciones patrimoniales más importantes de América Latina y el mundo. Y aunque esta afirmación no se justifica solamente en las cifras, valores tan sorprendentes sí nos sirven de indicadores para decir que la relevancia se sustenta en la concentración del trabajo visual de un conjunto muy representativo
          TÍTULO
        123
        025
        de fotógrafos locales, de muy distinta índole, cuya obra fue puesta en custodia y al alcance de investigadores y público en general. Esta es la razón por la que la Unesco en noviembre de 2012 declaró la colección Registro Regional de Memoria del Mundo, una dignidad no solo justa, sino necesaria.
          
    
    En el mismo tenor, la Biblioteca se inventó un concepto aglutinante puesto en operación como una declaración de principios: la Torre de la Memoria. Al amparo de un referente arquitectónico, cuyo propósito es proteger y custodiar, se resguardan las huellas del pasado a la manera de un baluarte patrimonial para permitir que el encuentro con el presente cobre sentido.
          La colección del Archivo Fotográfico comenzó con el rescate de la obra de Benjamín de la Calle, fotógrafo que retrató a Medellín en un período comprendido entre 1898 y, por lo menos, las primeras dos décadas del siglo XX. Sabemos que de los más de 200.000 negativos producidos en su estudio se rescataron apenas 7000. El resto se perdió por el reciclaje del soporte en vidrio y el borrado de la imagen. Una pérdida que no hay manera de compensar y que, a la postre, opera como un patrón. Por eso mismo, que la colección fotográfica de la Piloto haya iniciado su existencia bajo la lógica del rescate es Primeros años del Archivo Fotográfico BPP, antes de ser trasladado a la Torre de la Memoria. AI-BPP.
          
    2. 1. 1. 2.
        Estanterías, llamadas “colmenas” en lenguaje archivista, donde se conserva material del Archivo Fotográfico. AI-BPP
          ciertamente un síntoma. Porque el rescate, una medida que debería ser excepcional en los proyectos de valoración y conservación patrimonial, en la Torre de la Memoria ha sido una pauta regular, situación generalizada, por cierto, en colecciones similares de toda América Latina.
          Pero es un síntoma que no solo revela la manera como se gestó la colección BPP, sino que evidencia el vínculo que nosotros, los herederos, tenemos con nuestro propio pasado. Porque, a diferencia de lo que ocurre en otros entornos con una consciencia más interiorizada sobre el valor del patrimonio, en la lógica de la antropofagia de Andrade1, en América Latina, y particularmente en Colombia, las demandas del presente se imponen con tanto apremio (una suerte de matriz generadora en permanente construcción y transformación) que el espacio para la revisión del antes apenas tiene cabida.
          En contraste, cuando una colección extensa logra cobrar forma, como es el caso del Archivo Fotográfico de la Torre de la Memoria, nos damos cuenta del poder que concentra, porque en cada una de las imágenes hay lugares y personajes en la total singularidad de su existencia.
          
    1 Osvaldo Andrade, en su Manifiesto antropófago de 1928, habla de “la capacidad de América para devorar todo lo ajeno e incorporarlo para crear así una identidad compleja” (De Sousa, 2002, p. 9). Este manifiesto fue publicado originalmente en la Revista d’ Antropofagia 1, Diario de São Paulo (1928). Sobre Andrade ver: A utopia antropofágica (Globo,1990).
          3.
          Ferrotipo de autor anónimo conservado en el Archivo Fotográfico. AF-BPP.
          4.
          Fotografía estereoscópica que producía la sensación de tridimensionalidad. Mausoleo de José María Amador. Pablo Emilio Restrepo. 1895. AF-BPP.
          
    5.
          Ambrotipo, uno de los primeros procedimientos fotográficos realizados en el siglo XIX. AF-BPP.
          
    125
        3. 4. 5.
        Un puente entre tiempos
          126
          Cada uno de ellos, en potencia, es un detonador de experiencias cuyo blanco previsto es particular, pero en el conjunto son el registro documental del paso del tiempo en cada lugar donde estos personajes dejaron huella. Es en esta doble dimensión donde su relevancia es invaluable: en la afectación íntima de los sujetos y en el reconocimiento como legado histórico que nos identifica como colectivo en una temporalidad y en un entorno cultural singular.
          La Torre de la Memoria es, en este sentido, un dispositivo especular que nos devuelve las miradas de los sujetos que participaron en la construcción de lo que hoy es nuestra sociedad: Rodríguez, que recoge toda la saga de Melitón, su hermano, y sus descendientes; el ejercicio de Horacio Gil, que, sumado al extenso trabajo de Diego García, Digar, evidencia las distintas fórmulas en las que se puede, con toda justicia, invocar el rol del reportero gráfico; la construcción de la imagen con fines publicitarios, una de las prácticas en las que Gabriel Carvajal fue pionero; las 54.000 fotografías realizadas por León Ruiz, entre las que se incluyen El viaje por el río Magdalena y aquellas que realizó a bordo de la emblemática fragata Gloria. Todos ellos, sumados a otros también reconocidos y a otro montón de imagineros anónimos, le dan forma a un
          sofisticado inventario que construye, siguiendo a la Unesco, el Registro Regional de Memoria del Mundo.
          
    La sentencia del saber popular así lo traduce: “La fotografía recuerda lo que la mente olvida”. Pero no porque la fotografía sea el paliativo para la enfermedad del olvido, sino justamente porque reivindica la paradoja de un Atlas mnemosyne (a la manera de Aby Warburg). Un invento concebido para recuperar la historia (la propia) y, a través del “como si” del juego, plagarla de mitos para que vuelva a ser parte de la vida.
          Cámara de estudio de finales del siglo XIX que se cargaba con placas negativas de vidrio. AF-BPP.
          
    El fotógrafo Gabriel Carvajal junto al investigador Jaime Osorio, recibiendo y organizando el archivo Carvajal en la Biblioteca Pública Piloto. 1999. AI-BPP.
          128 Un puente entre tiempos
          NÚMERO
          
          026
          PÁGINAS AUTORA
          
          06
          Ana Cristina Restrepo Jiménez
          
          Las bibliotecas son proyectos que persiguen a los lectores, especialmente aquellos interesados en formar a otros lectores.
          
    espués de la Gran Depresión, el presidente Franklin D. Roosevelt promulgó medidas de emergencia para sacar adelante a la gente más pobre de Estados Unidos. Entre sus proyectos estaban las bibliotecarias de Kentucky, una brigada de mujeres a caballo que llevaba libros a las zonas montañosas, las más azotadas por la crisis y el aislamiento.
          Entre 1935 y 1943, las amazonas de Kentucky cabalgaron por la lectura, y hacia 1940 el programa contaba con 30 bibliotecas y había prestado libros a 100.000 lectores.
          Historias como la de las amazonas de Kentucky o la del Biblioburro de Luis Soriano son esquivas al radar de los grandes medios. Su trascendencia no es comercial. ¿Acaso no merece una oda la travesía de Consuelo Marín y Pedro Agudelo, la promotora de lectura y el bibliotecólogo que recorrieron a pie el morro del Che,
          TÍTULO
        Las musas sin jaula (Divagaciones sobre bibliotecas e ideas, e ideas sobre bibliotecas)
          La Escombrera y Belencito Corazón para conquistar nuevos lectores?
          Marcel Proust hablaba de la biblioteca como el recinto donde se practica la “gimnasia intelectual”. ¿Es la biblioteca un lugar físico, limitado entre paredes?, ¿cómo nombrar aquellas colecciones de libros peregrinos, a caballo, en burro, a pie?, ¿de qué maneras se han redefinido las bibliotecas públicas a través de la historia, de nuestra historia?
          En el imaginario colectivo, las bibliotecas albergan relatos e ideas consignados en libros, ¿qué tipo de ideas y relatos evocamos en torno a las bibliotecas?, ¿cómo percibimos a esos personajes que son el bibliotecólogo (formación académica) y el bibliotecario (empírico)?
          ***
          Mi mamá es bibliotecóloga. En los años 70, cuando apenas trazaba mis primeras planas escolares, asistía con ella a algunas clases en la entonces joven Escuela Interamericana de Bibliotecología, fundada en la Universidad de Antioquia en 1956.
          
    Ella solía dejar sobre la mesa del comedor algunos libros infantiles nuevos, pendientes de clasificación, ficha y forro. Tal vez los ubicaba estratégicamente a manera de “carnada” para invitarnos a la lectura a mi hermano y a mí,
          Biblioteca Nacional de Colombia. Gabriel Carvajal. 1963. AF-BPP.
          Un puente entre tiempos
          1. 2.
          pero supongo que, al mismo tiempo, quería verificar si su elección literaria infantil había sido acertada.
          En mi memoria también permanece una escena de la serie The paper chase: su protagonista, el estudiante James Hart, entra por primera vez a la biblioteca de la Escuela de Leyes de Harvard a la media noche y casi a hurtadillas. Necesita estudiar un caso judicial para el temido profesor Kingsfield. El gesto de asombro en Hart confirmaba mis sospechas de niña: las bibliotecas son lugares sagrados.
          No obstante, ha sido en la cátedra abierta Bibliotecas, Archivos y Ciudad, una serie de diálogos que he moderado en La Piloto, donde he
          
    visto desdibujarse a las bibliotecas públicas como sitios “sagrados”. ***
          
    En la Antigüedad se decía que las bibliotecas eran la jaula de las musas. Zenódoto, Aristófanes de Bizancio e Hiparco, bibliotecarios de Alejandría y guardianes de los escritos de Homero, permanecen como una suerte de canon del oficio.
          En La biblioteca de los libros perdidos, el crítico Stuart Kelly narra que Ptolomeo I, el Conservador, y su hijo Ptolomeo II lograron reunir en la maravilla del mundo que fue la Biblioteca de Alejandría los más refinados saberes.
          130
        3.
          Ptolomeo II entendió algo fundamental en su tiempo: mantener la biblioteca requería paz. Y por eso selló tratados con romanos y le entregó en matrimonio a su hija, Berenice, a Antíoco II de Siria, enemigo de Egipto por excelencia.
          La historia recuerda a Ptolomeo III como el responsable de la catalogación de más de 200.000 papiros. Después de descubrir que el faraón no tenía escritos de Esquilo, logró negociar con los atenienses el préstamo del único ejemplar de sus obras completas.
          Luego, todo terminó en llamas. Infinidad de conocimientos, relatos y saberes se han perdido por falta de protección, de cuidado, de atención, del juicio de un bibliotecario.
          ***
          La Conferencia Intergubernamental sobre Políticas Culturales en Europa, convocada en Helsinki en 1972, determinó: La cultura no es ya solo una acumulación de obras y de conocimientos que una minoría selecta produce, recoge y conserva para ponerla al alcance de todos, o que un pueblo rico en pasado y en patrimonio ofrece a todos como un modelo del que les habría privado su historia; que la cultura no se limita al acceso a las obras de arte y a las humanidades, sino que es al mismo tiempo adquisición de conocimientos, exigencia de un modo de vida y necesidad de comunicación;
          1. 2. 3.
          Biblioteca Reyes. Fotografía Rodríguez. 1912. AF-BPP.
          
    Biblioteca de la Universidad de Antioquia. Francisco Mejía. 1938. AF-BPP.
          Biblioteca Joaquín Uribe de Sonsón. León Ruíz. 1975. AF-BPP.
          
    131
        132 Un puente entre tiempos
          que no es territorio que ha de conquistarse o poseerse, sino una manera de comportarse consigo mismo, con sus semejantes y con la naturaleza, que no es solamente una esfera que conviene todavía democratizar; sino que se ha convertido en una democracia que es necesario poner en marcha.
          Por medio de las bibliotecas públicas, la cultura es democracia en marcha. Regresemos al morro del Che, a La Escombrera y a Belencito Corazón: eran los días de las operaciones Mariscal y Orión. Desde el Caguán llegaban guerrilleros de las FARC, que se topaban con los comandos armados, el ELN y los paramilitares. La biblioteca pública de la Comuna 13, plural, sin sesgo político ni religioso, era el punto de encuentro: allí estudiaban los hijos de los milicianos, sus madres recibían talleres de costura. Los violentos la respetaban porque allí, también, departían sus seres amados. *** No, las bibliotecas públicas no son recintos ni son sagradas. Son espacios de diálogo, de construcción, de humanización, cuyas fronteras físicas son trazadas por cada comunidad.
          Según Descartes, “la lectura de todos los buenos libros es como una conversación con las
          personas más interesantes de los siglos pasados que fueron sus autores”. Gracias a los bibliotecólogos y bibliotecarios esa charla es cada vez más abierta y amplia, y la biblioteca pública se consolida como ágora.
          Los bibliotecarios y bibliotecólogos en el Valle de Aburrá son ejes de la democratización del conocimiento, difusores culturales cuya acción se ha redefinido en los entornos no solo por la fuerza del conflicto armado, sino por las dinámicas sociales propias de un país diverso, de una nación muy joven que todavía se esfuerza para comprender la importancia de su historia… y del papel que las bibliotecas públicas ocupan en ella.
          En la cátedra abierta Bibliotecas, Archivos y Ciudad, al calor de conversaciones sobre asuntos como “alfabetización informacional, biblioteca pública y ciudadanía”, “información y género”, “repositorios y colecciones patrimoniales”, “libro impreso vs. libro digital” o “libros y lectura para jóvenes”, los guardianes de “la jaula de las musas” se revelaron como líderes sociales cuyo papel supera la conquista de lectores: su función esencial es la formación de más y mejores ciudadanos. Vigilan que aquella que otrora fue considerada “jaula” permanezca con las puertas (¡los pensamientos!) abiertas.
          Biblioteca Instituto Pascual Bravo. Diego García (Digar). 1962. AF-BPP.
          
    Los viejos ficheros catalográficos para realizar búsquedas de materiales. AI-BPP.
          
    133
        1. 2. 1. 2.
        134 Un puente entre tiempos
          
              
              
            
            Recuerdos de años felices
          NÚMERO
          
          027
          PÁGINAS AUTOR
          
          
    06
          Juan Luis Mejía Arango
          
          Testimonio de un tallerista, director, lector y testigo del crecimiento y la consolidación de la BPP.
          ebió ser a principios de 1978. Un día me encontré con Alejandro González Jaramillo, quien por entonces se desempeñaba como director de La Piloto y a quien había conocido en el Colegio San Ignacio. En ese encuentro Alejandro me contó que acababa de regresar de Estados Unidos donde había realizado una estancia en el taller de escritores de la Universidad de Iowa y, sin más preámbulos, me propuso crear un taller semejante en la biblioteca. En un acto de absoluta irresponsabilidad, acepté y de inmediato procedimos a hacer la convocatoria a los aspirantes a escritor.
          Tal vez el único antecedente nacional lo constituía el grupo que Gustavo Álvarez Gardeazábal había formado en Cali, pero de resto no había ningún referente sobre el funcionamiento, los objetivos o las metodologías de un taller para escritores. Me puse entonces a leer
          TÍTULO
        fuentes de las más disímiles procedencias: la experiencia de Iowa, que se asemejaba a una beca de creación; los talleres cubanos de Casa de las Américas y los nicaragüenses de Ernesto Cardenal; y, por supuesto, los textos clásicos sobre cómo escribir un cuento: Cortázar, Quiroga, etc.
          Y con ese frágil soporte conceptual nos lanzamos a la aventura y en poco tiempo teníamos conformado un grupo de jóvenes bisoños y entusiastas: Luis Fernando Macías, Jairo Morales, Lucía Victoria Torres, Sergio Vieira, José Libardo Porras y Chengue, poeta y halterista. Al
          poco tiempo se unió al grupo Juan Diego Mejía, quien venía de hacer la revolución en la costa.
          Cada martes en la tarde nos reuníamos a comentar los textos propios y ajenos y cada quince días invitábamos a algún escritor que compartía su método y experiencia con nosotros. Una vez, influenciados quizá por Blacamán el bueno, llevamos un culebrero real, con boa incluida, como ejemplo de la rica literatura oral de nuestro medio.
          Pero el momento culmen ocurrió en noviembre del 78 cuando el alcalde Jorge Valencia
          Juan Luis Mejía dirigió la BPP al despuntar los años 80. Las dificultades económicas no impidieron que siguiera siendo un importante centro cultural del país. AI-BPP.
          
    135
        Un puente entre tiempos
          Jaramillo promovió la segunda visita de Jorge Luis Borges a Medellín. Esa mañana el auditorio de la Biblioteca estaba colmado de público. Mucha gente quedó afuera sin poder escuchar al autor de El Aleph. Fue un diálogo con los escritores de la ciudad. Yo era el último, sentado en una esquina no alcancé a salir en la famosa foto de Jairo Osorio. Cuando me correspondió el turno de preguntar, lleno de nervios, farfullé algo así como: “¿Se considera un escritor para escritores?”. No recuerdo qué respondió el maestro, pero sí me sonrojo cada que evoco esa intervención tan obvia. Luego de aquel diálogo, que más bien fue un monólogo, fuimos a almorzar al restaurante Salvatore, en los bajos del edificio de Suramericana de Seguros.
          Aquella aventura duró poco más de un año hasta que, debido a mis afugias económicas, me vinculé a una empresa textil, y debido al horario y a los frecuentes viajes, debí retirarme del flamante taller de escritores de La Piloto, que gracias a la buena prensa que generó Isaías Peña Gutiérrez, desde su columna en el periódico El Tiempo, se había convertido en un referente nacional. En buena hora el director de la Biblioteca convenció a Manuel Mejía Vallejo para que asumiera la dirección del taller y allí se inició la época de esplendor de esta experiencia.
          Al finalizar el año 1979, me llamó de nuevo Alejandro González y me comunicó que dejaba La Piloto pues le habían ofrecido la dirección del periódico Vanguardia Liberal, en Bucaramanga, y que si me apetecía ser el nuevo director. De inmediato, y a pesar del malestar que la decisión provocó en mi papá, quien consideraba que echaba por la borda un futuro promisorio en la industria textil, acepté y el 10 de diciembre de 1979 me posesioné como director de la Biblioteca Pública Piloto de Medellín para América Latina.
          Ya sentado en la silla del director me enteré de las inmensas dificultades por las que atravesaba la institución. Dado su origen en un acuerdo internacional suscrito entre la Unesco y el Estado colombiano, nominalmente la Biblioteca era un organismo del orden nacional adscrito al Ministerio de Educación Nacional. En efecto, la Piloto era el último de los sesenta y tantos institutos adscritos a ese ministerio. Esa invisibilidad orgánica la sometía a ser la última de las prioridades presupuestales del Estado, pero como contrapartida positiva la mantenía ajena a los apetitos burocráticos de la política.
          Pese a las penurias económicas, encontré un grupo de personas con una gran mística de trabajo, entregadas en cuerpo y alma a su labor,
          136
        
    137
        Juan Luis Mejía, Manuel Mejía Vallejo y Elkin Restrepo de tertulia. Ca. 1978. AI-BPP.
          Un puente entre tiempos
          138
          que mantenían encendida la llama de los ideales altruistas con los cuales se habían creado las bibliotecas piloto del mundo. Tantos nombres vienen a la memoria: Gloria Inés, María José, Olga Luz, Mario Vargas, Emigdio… Sería largo enumerarlos, pero estas palabras quieren exaltar a todos aquellos silenciosos trabajadores de las instituciones culturales de Colombia que, pese a todas las adversidades, mantienen a flote las frágiles embarcaciones que transmiten, preservan y diseminan la cultura.
          Pero hacia fuera, La Piloto encarnaba (y encarna), los ideales de una biblioteca pública: sus salas siempre atiborradas de lectores, colecciones que rotan no sé cuántas veces al año, presencia en los barrios más periféricos, talleres culturales para todas las edades, etc. De ahí que la Biblioteca se convirtiera en el epicentro de la vida cultural de la ciudad.
          Recuerdo aquellos años en permanente ebullición, tiempos plenos de ideas, de proyectos. Y con una figura central de toda aquella efervescencia: Manuel Mejía Vallejo. Él, en un bus de la empresa Transunidos La Ceja, bajaba los miércoles de Ziruma, su casa en El Retiro, para dirigir el taller de escritores entre la cuatro y las seis de la tarde. De allí en adelante seguía una larga, muy larga conversación, en la que se
          “humedecía la palabra”, como eufemísticamente se promocionaba un café de la ciudad. Poco a poco llegaban Darío Ruiz, Fernando González, Elkin Restrepo, Óscar Jaramillo, Luis Fernando Peláez, José Manuel Arango, Miguel Escobar… y tantos y tantos que continuábamos la noche en La Camerata, en el Jordán, en Finalle. También alrededor de La Piloto, institución pionera en el costado occidental del río Medellín conocido como Otrabanda, se fue constituyendo una confederación de instituciones que en un trabajo conjunto empezaron a jugar un papel preponderante en la vida cultural de la ciudad: la Universidad Nacional, con Marta Elena Bravo en la Dirección de Extensión Cultural; Suramericana de Seguros, desde la vicepresidencia de Nicanor Restrepo Santamaría; y el recién fundado Museo de Arte Moderno de Medellín. Ese trabajo conjunto llevó a la creación de la primera asociación de entidades culturales de la ciudad, denominada Asencultura, que sirvió luego de modelo para la creación de los Consejos de Cultura en el ámbito nacional. De aquel activismo quedan algunos resultados de indudable impacto cultural como el Centro de Memoria Visual de Medellín. Su génesis fue la siguiente: en 1981 se realizó la IV Bienal de Arte de la ciudad. Los organizadores
          (FAES) sobrevivieron apenas unos años luego de la desaparición de sus fundadores, Jorge Rodríguez Arbeláez y Luis Ospina Vásquez. En cambio La Piloto, bajo otra estructura organizacional, permanece en pie y con plena vigencia, pues está incrustada en el alma profunda de la ciudad de Medellín.
          Un jueves de enero de 1983, un infarto fulminante puso fin a los días de Eddy Torres, intelectual de reconocida influencia en la vida política y cultural del país y que por entonces ejercía el cargo de director de la Biblioteca Nacional de Colombia. Al domingo siguiente, en una llamada telefónica, el entonces presidente de la república Belisario Betancur me ofrecía el cargo dejado por Torres. Esa llamada inesperada puso fin a mi paso por la Biblioteca Pública Piloto de Medellín.
          Estas palabras han tratado de recuperar algunos recuerdos de los años más felices de mi vida.
          106.835 usuarios están afiliados al sistema de préstamo y renovación (junio de 2022).
          
    139
        Un puente entre tiempos
          138
          que mantenían encendida la llama de los idea les altruistas con los cuales se habían creado las bibliotecas piloto del mundo. Tantos nombres vienen a la memoria: Gloria Inés, María José, Olga Luz, Mario Vargas, Emigdio… Sería largo enumerarlos, pero estas palabras quieren exal tar a todos aquellos silenciosos trabajadores de las instituciones culturales de Colombia que, pe se a todas las adversidades, mantienen a flote las frágiles embarcaciones que transmiten, pre servan y diseminan la cultura.
          
    Pero hacia fuera, La Piloto encarnaba (y en carna), los ideales de una biblioteca pública: sus salas siempre atiborradas de lectores, coleccio nes que rotan no sé cuántas veces al año, pre sencia en los barrios más periféricos, talleres cul turales para todas las edades, etc. De ahí que la Biblioteca se convirtiera en el epicentro de la vi da cultural de la ciudad.
          
    Recuerdo aquellos años en permanente ebullición, tiempos plenos de ideas, de proyectos. Y con una figura central de toda aquella efervescencia: Manuel Mejía Vallejo. Él, en un bus de la empresa Transunidos La Ceja, bajaba los miércoles de Ziruma, su casa en El Retiro, para dirigir el taller de escritores entre la cuatro y las seis de la tarde. De allí en adelante seguía una larga, muy larga conversación, en la que se
          dellín. Ese trabajo conjunto llevó a la creación de la primera asociación de entidades culturales de la ciudad, denominada Asencultura, que sirvió luego de modelo para la creación de los Consejos de Cultura en el ámbito nacional. De aquel activismo quedan algunos resultados de indudable impacto cultural como el Centro de Memoria Visual de Medellín. Su génesis fue la siguiente: en 1981 se realizó la IV Bienal de Arte de la ciudad. Los organizadores
          pidieron a las instituciones culturales realizar alguna actividad concomitante con la gran exposición, que permitiera a los visitantes palpar el dinamismo de Medellín. En La Piloto decidimos realizar una exposición sobre la historia de la fotografía en Antioquia, dado que era un tema sobre el que nada se había investigado hasta entonces. Con un apoyo de 30.000 pesos que aportó Almacenes el Mar, que cumplía 30 años de existencia, pudimos hacer la exposición Cien años de fotografía en Antioquia. Nos pifiamos por más de tres décadas. Pero sirvió para descubrir que algunos de los archivos de los pioneros aún existían. En noviembre de 1982, logramos comprar el archivo de Benjamín de la Calle y luego fueron ingresando el de Melitón Rodríguez, el de Gabriel Carvajal, el de Horacio Gil Ochoa, el de León Ruiz.
          Otros eventos de gran repercusión, como Bazarte, fueron devorados por la vorágine que entonces se apoderó de la ciudad. También instituciones que jugaron un papel preponderante en aquellos años se fueron marchitando. La Escuela Popular de Arte, la recordada EPA, con la que realizamos el inolvidable Encuentro Folclórico Nacional, se fue diluyendo en la burocracia local. El Instituto de Integración Cultural y la Fundación Antioqueña de Estudios Sociales
          (FAES) sobrevivieron apenas unos años luego de la desaparición de sus fundadores, Jorge Rodríguez Arbeláez y Luis Ospina Vásquez. En cambio La Piloto, bajo otra estructura organizacional, permanece en pie y con plena vigencia, pues está incrustada en el alma profunda de la ciudad de Medellín.
          Un jueves de enero de 1983, un infarto fulminante puso fin a los días de Eddy Torres, intelectual de reconocida influencia en la vida política y cultural del país y que por entonces ejercía el cargo de director de la Biblioteca Nacional de Colombia. Al domingo siguiente, en una llamada telefónica, el entonces presidente de la república Belisario Betancur me ofrecía el cargo dejado por Torres. Esa llamada inesperada puso fin a mi paso por la Biblioteca Pública Piloto de Medellín.
          Estas palabras han tratado de recuperar algunos recuerdos de los años más felices de mi vida.
          106.835 usuarios están afiliados al sistema de préstamo y renovación (junio de 2022).
          139
        Un puente entre tiempos
          140
          TÍTULO
          
              
              
            
            Reconocimientos a la BPP
          personas e instituciones que prestan servicios excepcionales y benéficos a la educación y difusión de las bellas artes dentro de la comunidad antioqueña.
          NÚMERO
          028
          PÁGINAS AUTOR
          La labor de la Biblioteca es ejemplo de gestión en cultura. Su mayor mérito es seguir multiplicándose en miles de lectores.
          En 1977, el alcalde de Medellín le otorgó a la BPP la condecoración Hacha Simbólica por sus entonces 25 años de trabajo por la cultura.
          El Concejo de Medellín le otorgó, en ese mismo año, el Cordón del Tricentenario en grado plata también por sus 25 años de servicios.
          En 1992 se le confirió la Condecoración al Mérito Educativo Pedro Justo Berrío, con la cual se hace público reconocimiento a las
          El Municipio de Medellín le concedió, también en 1992, la Medalla al Mérito Cultural Porfirio Barba Jacob, categoría oro.
          
    En 1997, el gobernador de Antioquia le otorgó, en honor al mérito, la presea Estrella de Antioquia, en grado oro.
          En 2002, la Gobernación de Antioquia le otorgó el Escudo de Antioquia, categoría oro, por sus 50 años de fundación.
          
    En ese mismo año, la Asamblea de Antioquia le concedió la Orden al Mérito Cívico y Empresarial Mariscal Jorge Robledo en grado oro también con motivo de sus 50 años de vida institucional.
          En 2003, se le otorgó la Orden Cámara de Comercio de Medellín en reconocimiento a su labor cultural, artística y pedagógica, a su valiosa contribución a la educación, crecimiento y desarrollo de Antioquia y del país.
          La Condecoración Orquídea Concejo de Medellín se le otorgó en 2003 para exaltar sus acciones
          sobresalientes a favor de la ciudad y del país en sus 50 años de existencia.
          El Senado le concedió la Orden Mérito a la Democracia en 2004 como reconocimiento por sus permanentes aportes e impulsos al desarrollo artístico y cultural de Antioquia y de Colombia.
          La Gobernación de Antioquia le otorgó un reconocimiento en ese mismo año por su importante contribución al desarrollo cultural de Antioquia.
          En 2007, HiperBarrio, un proyecto de la filial San Javier La Loma, ganó la 1.a Convocatoria Internacional de Medios Ciudadanos realizada por Global Voices (en Estados Unidos) para participar en Rising Voices. De esta forma, se convirtió en uno de los primeros cinco proyectos globales en periodismo ciudadano y comunitario.
          En 2009, el proyecto HiperBarrio y sus comunidades obtuvieron el Premio Golden Nica en la categoría de comunidades digitales en el Festival Prix Ars Electronica, en Linz, Austria.
          
    
    En 2012, el Archivo Fotográfico de la BPP fue declarado por la Unesco como Registro Regional de Memoria del Mundo.
          En 2013, la Gobernación de Antioquia y la Alcaldía de Medellín la declararon institución emblemática en la conmemoración de los 200 años de la Independencia de Antioquia.
          
    
    
    En 2014, la filial La Loma recibió el Premio Public Library Innovation Award (EIFL) por el desarrollo del programa de mapeo social y comunitario llevado a cabo por la comunidad de práctica ConVerGentes.
          
    La Agencia para el Desarrollo de las Comunicaciones (APC) de Barcelona le otorgó en 2014 el Premio Chris Nicol de software libre a ConVerGentes por su proyecto Nuestra Red: LaLoLib.
          En 2019, el Archivo Sonoro de la Piloto recibe la Condecoración Orquídea Concejo de Medellín al Mérito Educativo. Este mismo año, la BPP es declarada fuera de concurso en el Premio Nacional de Bibliotecas Daniel Samper. En cambio, recibe reconocimiento especial por ser un modelo a seguir en la protección y divulgación del patrimonio de la nación.
          141
        
    Una biblioteca para crear
          NÚMERO
          
          PÁGINAS AUTOR
          
          
    Andrés Roldán, director Parque Explora
          
          Las bibliotecas contemporáneas buscan trascender y ser más activas en las dinámicas culturales y del conocimiento. En ese sentido, la BPP es un lugar para construir relaciones sociales, crear y experimentar en ambientes de aprendizaje enriquecidos con herramientas que promueven experiencias diversas, y que cuenta con escenarios incluyentes y participativos donde la comunidad puede conectarse y estimular la apropiación de conocimientos.
          El proyecto de creación de ambientes para el aprendizaje fue realizado en conjunto por un equipo interdisciplinario de la BPP y el Parque Explora. En 4000 metros cuadrados se gestionaron y desarrollaron nuevos ambientes educativos, culturales, tecnológicos, científicos y de investigación donde se integran experiencias que combinan colección de libros, talleres, salas de exhibición, sala infantil, sala audiovisual, salas de lectura, hemeroteca y un museo llamado Cámara de Maravillas, desarrollado a partir de las extensas colecciones patrimoniales que se salvaguardan en la Biblioteca. La BPP se transformó para ser un escenario abierto, patrimonial, activo, acogedor para el aprendizaje, la inspiración, el encuentro y la creatividad.
          Entre 2015 y 2018, la sede central de la BPP fue renovada. La fachada del edificio se conservó intacta. AI-BPP.
          143
        TÍTULO
        04 029
        Un puente entre tiempos
          Museo Cámara de Maravillas
          
    
    Documentos, fotografías y objetos patrimoniales convertidos en un museo interactivo. Aquí la memoria local y regional son para ser tocadas, movidas, coloreadas y sí: reimaginadas.
          
    Sala general de lectura y estudio
          
    
    El oasis de los lectores y los estudiantes. Más de 123.000 títulos para dejarse tentar, colecciones y ediciones únicas que se renuevan siempre. La sala principal de una casa que es de todos.
          
    
    Sala Pedrito Botero
          Libros de todos los tamaños y colores (¡más de dos mil títulos clásicos y nuevos!). Juguetes para jugar de verdad, títeres, cosas para armar y desarmar, lectura en voz alta… La sala de los niños… de todas las edades.
          144
        Sala audiovisual
          
    El lugar del cine en la Biblioteca: proyección y préstamo de documentales, clásicos, películas contemporáneas. Archivo de audio y video. Conferencias y charlas: cinéfilos, expertos y diletantes.
          
    Hall principal
          
    La zona del encuentro ciudadano, donde el espacio público exterior se funde con el de la Biblioteca. Lanzamientos, charlas de actualidad, muestras. Conversación, arte, libros y café. Mobiliario para estar.
          
    Sala de Exposiciones
          
    
    
    Un lienzo de 107 metros cuadrados destinado a exponer las colecciones patrimoniales de la Biblioteca. Fotografías, objetos, documentos en contexto, artes visuales. Curaduría para divulgar.
          
    145
        Foto de Carlos Ramírez, archivo BPP.
          Un puente entre tiempos
          TÍTULO NÚMERO
          
          
              
              
            
            Volver a casa
          030
          PÁGINAS AUTOR
          
          
    02
          Álvaro Velarca Hernández, director general Fondo de Cultura Económica Colombia
          La reapertura de la biblioteca llegó acompañada de una gran noticia: el regreso del Fondo de Cultura Económica a Medellín.
          a pasado tanto tiempo que seguramente sobreviven pocos testigos de los inicios del Fondo de Cultura Económica (FCE) en Colombia y se ha borrado de la memoria que los primeros libros del sello que llegaron al país lo hicieron vía Medellín. Por eso, los vínculos que unen a la editorial con la capital antioqueña son mucho más fuertes de lo que pensamos.
          En su libro Historia de la Casa, Víctor Díaz Arciniega explica que en 1942, apenas ocho años después de su fundación en México, el Fondo inició operaciones en Latinoamérica con sus primeros distribuidores en Perú, Argentina, Uruguay y Colombia, atendiendo a su visión como institución más que mexicana, latinoamericana. En palabras de Díaz Arciniega, su proyección era, primerísimamente, “crear y fortalecer el sentimiento de comunión nacional y, en forma natural, cristalizar el sueño de Bolívar: unificar a todos los países hispanoamericanos”. No exageramos al decir que el Fondo es tan colombiano como mexicano, o tan argentino como chileno.
          En sus Memorias de un librero, Rafael Vega Bustamante, fundador de la legendaria Librería Continental, cuenta que, a mediados de 1943,
          146
        el peruano Juan Mayoral se estableció en Medellín como agente del Fondo. En esos primeros tiempos las novedades del FCE que le llevaba Mayoral, aunque interesantes, le parecía que podrían resultar desconocidas a los lectores. No obstante, él mismo constataba con sorpresa que, no bien se ponían en las vitrinas, alguien entraba a comprarlos. Los estudiantes de la recién creada Facultad de Economía de la Universidad de Antioquia y los de Filosofía y Letras de la Bolivariana y el Colegio Mayor de Antioquia fueron los primeros clientes.
          El FCE continuó operando desde Medellín hasta que en 1975 se constituyó formalmente una agencia en Bogotá, y esto dio paso a una subsidiaria, figura que permanece hasta nuestros días.
          
    De modo que abrir una librería del Fondo en Medellín es regresar a casa. Y regresar de la mano de la Biblioteca Pública Piloto no es una casualidad, sino que obedece a las muchas coincidencias que nos unen: ambos tenemos como misión la promoción y difusión de la lectura, la formación de lectores críticos y creativos, ser centros culturales que estimulen la proyección y creación artística, y la conservación y difusión del patrimonio formativo e informativo de la humanidad, entre muchos otras.
          Esta alianza con La Piloto no podría iniciar en un contexto más oportuno. Somos instituciones asentadas en dos países que han enfrentado el flagelo del crimen organizado, y que demuestran que por medio de la cultura y las letras se puede reconstituir el tejido social.
          La apuesta que el Fondo ha hecho en Colombia ha sido redituada con creces. Nos llena de satisfacción conocer la información referente a los índices de lectura en este país y atestiguar que el esfuerzo para formar lectores ha dado frutos. Tan es así, que el mercado colombiano representa para nuestro sello el principal mercado de los nueve en los que opera el FCE fuera de México.
          Celebramos, pues, no solo la apertura de la librería Fernando del Paso en Medellín, sino la posibilidad de seguir contribuyendo, desde nuestro ámbito, al esfuerzo que hacemos todos los países latinoamericanos para que “democratizar la lectura” no sea un simple eslogan más.
          147
        Un puente entre tiempos
          148
          
              
              
            
            Separar el trigo de la paja
          NÚMERO
          
          031
          PÁGINAS AUTOR
          
          Esteban Duperly 02
          Cosmoteca, el proyecto de biblioteca digital de la BPP, está en marcha desde 2020. Sin embargo, desde hace décadas suceden cosas que lo inspiran.
          uando el adjetivo digital sigue al sustantivo biblioteca se levantan muchas dudas. En últimas, ¿qué es una biblioteca digital? ¿Una versión personalizada de un buscador para las colecciones propias? ¿O se trata más bien de servicios asociados a o gestionados con herramientas de tecnología digital que, prácticamente, hoy son todas?
          Para el caso de la Piloto, su historia digital empezó durante el amanecer de las bases de datos que convertían un anaquel lleno de libros de registro en unas cuantas cajas de disquetes. La optimización del espacio era notable y, sobre todo, la gestión de la información más veloz. Bastaba digitar un término y en cuestión de parpadeos aparecía un resultado de búsqueda acompañado de otros datos también relevantes. Se trataba de algo nuevo, pero no era un servicio. Es decir, no estaba disponible para el usuario común, sino mediado por gente especializada: “los de sistemas”. Era más bien una manera en que la Biblioteca –las bibliotecas– organizaba hacia adentro su abultado flujo de información.
          Luego apareció internet, florecieron los buscadores y lo replantearon todo. Antes, sin embargo,
          
    TÍTULO
        hubo cosas que hoy ya suenan obsoletas como las enciclopedias en discos láser que se llevaban para la casa. Pero no todo el mundo tenía un computador para leerlos, y así nació lo que aún hoy es uno de los grandes servicios digitales de la Piloto: disposición de computadores libres y gratuitos, acompañados de cursos de alfabetización digital.
          ¿Configuran entonces una serie de puntos de conexión a Google una biblioteca digital? De ninguna manera. Sabemos que un problema grande de internet es el desborde de información. Y, en ese sentido, la curaduría es una oportunidad. Nos urge alguien que señale lo bueno, como han hecho desde siempre los bibliotecólogos en las salas de consulta: “Este es el libro que usted debe leer, porque es el mejor sobre el tema que lo inquieta”.
          Y así volvemos a nuestra historia, a la construcción de una versión digital propia para la
          Biblioteca Pública Piloto de Medellín para América Latina. Una que emule exitosamente los servicios de préstamo y consulta, pero que definitivamente supere ese umbral. Un lugar, más bien, para desplegar toda la capacidad sensorial de internet –audio, imagen, movimiento, interacción– y que llamamos Cosmoteca porque se expande mucho más allá del libro digital o de la foto o el documento convertido a un formato de pantalla luego de pasar por un escáner. Eso está bien, pero resulta más importante interpretar esa información: qué significa aquello que el usuario busca y, aún más, cómo desarrollar la capacidad de entregarle lo que realmente merece ver. También, lograr reunir en un mismo sitio los servicios digitales de otras bibliotecas de la región e inspirarlas a que piensen nuevas formas para sus lectores. Para todo eso es fundamental que alguien siga haciendo el centenario oficio de separar el trigo de la paja.
          “Soñemos juntos la ¿__? teca del futuro”. Cuestionario de papel durante la primera etapa de investigación del proyecto Cosmoteca Lapiloto. Fiesta del Libro y la Cultura, 2021.
          
    149
        150 Un puente entre tiempos
          
              
              
            
            Una Cámara de maravillas
          l museo Cámara de Maravillas se inauguró en marzo de 2020. Definido como un espacio interactivo para disfrutar del patrimonio, hoy ocupa unos 219 metros cuadrados del segundo piso de la Biblioteca, en el ala norte, donde años atrás estuviera el auditorio Manuel Mejía Vallejo.
          NÚMERO
          
          032
          PÁGINAS AUTOR
          
          
    02
          Juan Miguel Villegas
          
          Dentro de esta biblioteca hay un museo. Y en ese museo, la posibilidad de poner las manos sobre el patrimonio documental y fotográfico resguardado en la Piloto.
          Su nombre es un homenaje a los antiguos salones o “cámaras” en las que la nobleza europea atesoraba objetos extraños, exóticos, que reunían en sus viajes por el mundo: “gabinetes de curiosidades”.
          El de la Piloto es un salón a media luz, cálido, ni estrecho ni enorme, que abre al visitante ojos de vidrio llenos de objetos atractivos y chorros de luz que proyectan recuerdos a blanco y negro frente a un sofá. Hileras de cajones superpuestos invitan a fisgonear planos, fotografías, folios, cartas. Sobre una de las paredes, de esquina a esquina, se pueden leer ficciones impresas, entreveradas con antiguos objetos incrustados en los muros. Pantallas horizontales permiten hacer brotar colores sobre paisajes grises con las yemas de los dedos; y otras, verticales, a calzarnos historias contadas a viva voz sobre el cuenco de
          TÍTULO
        las orejas. Un poco elevadas apenas sobre el suelo, viejas cámaras enormes, de madera y metal, nos tientan a soñar con días en que esta ciudad era muy otra. Y un estudio fotográfico de tamaño natural permite fijar nuestra propia imagen, como en una fugaz visita a los maestros del pasado, en un archivo digital que al instante podemos enviar a nuestro buzón de correo...
          En 2016, cuando la Biblioteca tomó la decisión de fortalecerse desde sus bases –“repotenciar” y remodelar su edificio– le planteó al equipo del Parque Explora el sueño de abrir “un museo donde la gente pudiera conocer e interactuar con el patrimonio”.
          El objetivo fue entonces contagiar el placer de sumergirse en los archivos: el gusto de poder abrir estanterías, fisgonear en los cajones y las planotecas, mientras se descubrían o imaginaban pequeñas historias. Un museo cercano a lo cotidiano, más para la evocación que para la cronología estricta.
          
    Así se planeó y así se hizo realidad, y hoy hace parte de la Red Nacional de Museos de Colombia. Todos sus elementos están estructurados y dispuestos en el espacio por medio de tres ejes conceptuales: transformaciones, identidades y conexiones. Cada una de ellas con experiencias distintas, pero todas incitaciones al
          juego y las preguntas, a palpar, extraer, descifrar, leer, escuchar, presionar...
          Desde 2021, la Sala de Exposiciones Temporales de la Biblioteca, en el primer piso, es también una extensión del museo, y sus muestras se conciben como experimentos museográficos con el mismo objetivo…
          Lanzar guiños sinestésicos y multiformato para que el visitante confirme, con sus propios sentidos, qué tantas maravillas puede guardar una biblioteca patrimonial en su interior.
          Además de negativos y positivos fotográficos, en la BPP se conservan cámaras y herramientas de trabajo de los antiguos procesos de la fotografía química.
          
    151
        NÚMERO
          
          
    Un puente entre tiempos
          PÁGINAS AUTORA
          
          a noción de biblioteca se transforma según las lecturas sociales, políticas y tecnológicas que de ella hace cada época. Hoy atiende realidades distintas a las de hace 30 o 50 años, sin que sepamos hasta qué punto se han modificado la curiosidad, el deseo o nuestros anhelos.
          Al inicio, las bibliotecas eran lugares de acopio y copia. En el medioevo, sitios del conocimiento salvado y localizado al margen, sobre todo en monasterios. A partir de la Revolución Industrial, nacen bibliotecas más vinculadas con la sociedad, vistas en gran parte como lugares de apoyo para la producción y no necesariamente para ampliar el espíritu o incentivar otras filosofías (excepto las futuras bibliotecas fundadas por pensadores anarquistas).
          Al surgir el Estado nación, las bibliotecas acompañan (discreta y persistentemente) el proceso de urbanización de las ciudades; se consolidan como espacios de estudio, educación y
          TÍTULO
        152
        Una mirada a la siempre cambiante –no podría ser de otra manera– noción de biblioteca.
          Brevísimo recuento y un manifiesto de bolsillo
          Teresa Avedoy 06
          033
        formación cultural. Aunque atienden la vida (pública, privada, compartida, social, virtual, familiar, amorosa, amistosa…) de sus ciudadanos, es común conceptualizarlas más como espacios de introspección y relativo silencio que como espacios públicos urbanos.
          En la segunda mitad del siglo XX, al menos en Latinoamérica, priman imaginarios sobre las bibliotecas como espacios de estudio y lectura; mientras que para la bibliotecología los procesos y los acervos eran el corazón (y el sentido) de un equipamiento que debía “funcionar como una máquina” (lo que se reflejaba en sus
          edificaciones, sobre todo aquellas construidas exprofeso).
          En las últimas décadas, diferentes diseños europeos y estadounidenses conectaron más a las bibliotecas con la vida pública: en Francia, la Biblioteca Pública de Información (1979); en Inglaterra, la cadena de centros comunitarios Idea Store (2002); en Estados Unidos, los makerspaces (espacios de creación y fabricación), la Biblioteca Central de Seattle (2004) o el Library Innovation Lab (2017); y en México, la Biblioteca Vasconcelos (2006); mientras que los usuarios (visitantes y bibliotecarios) realizan y demandan en ellas nuevas actividades.
          Justo en la primera década del siglo XXI, en Colombia y en Antioquia nos mostraron cuán posible es responder a las necesidades de los usuarios, y al materializar dichos cambios nació esa gran tipología que es el parque-biblioteca. Para entonces, la mítica BPP rebasaba el medio siglo y la renovación de su edificio coincidiría con su 65 aniversario.
          Así pues, a finales del siglo XX e inicios del XXI, los cambios tecnológicos y productivos (la masificación del acceso a internet, la mundialización de la economía, la aparición de los teléfonos inteligentes, el exceso de virtualidad; así como los cambios sociales vinculados con el
          La “Sala de ciudadanía digital” fue uno de los espacios creados en el proceso de remodelación de la biblioteca, como respuesta natural a las nuevas realidades.
          
    153
        Un puente entre tiempos
          género o la conciencia ecológica) modificaron prácticas y espacios arquitectónicos, pero también –o sobre todo– nos mostraron cuestiones básicas que permanecen en el tiempo (como la lectura, que no siempre ha sido privada o en voz baja, o bien, el deseo de releer, reaprender, investigar, recuperar).
          Un ejemplo: ¿ha visitado usted Instagram? Pues bien, mucho de lo que sucede en esta red social es lo mismo que los usuarios quieren, buscan y pueden hacer en una biblioteca pública: comer sano o idear nuevas recetas de postres, divertirse, tocar un instrumento; leer poesía, discutir filosofía, bailar, dibujar; buscar consejos
          para mejorar rutinas deportivas, terminar (o no) proyectos, rastrear mejores herramientas para cuidarse y cuidar (a otras personas, a sus animales o plantas).
          Mientras las bibliotecas se abren a las ciudades, gana terreno la valía de explorar deseos y prácticas que los usuarios se inventan para sí y para otros. Esta exploración está directamente relacionada con el sentido de estos espacios públicos y, por eso, más allá de ser espacios que contienen información sobre múltiples conocimientos, urge que así mismo sean espacios donde la arquitectura bibliotecaria propicie nuevos procesos de aprendizaje o sean lugares de creación.
          
    La Plazoleta Argos, hoy espacio de encuentro y de actividades culturales bajo techo, fue antes el parqueadero de la Piloto.
          Aquí, durante los Días del Libro, 2022.
          154
        en la estación Suramericana del Metro, a casi 800 metros de distancia, así como por sus diversas ofertas y por algunos testimonios (escuchados o leídos) de usuarios.
          En el caso de la renovación del edificio de la BPP (2017-2018), el antiguo estacionamiento se convirtió en una plaza diversa: cine al aire libre, pista de baile, diversas ceremonias y eventos colectivos. En el interior, el vestíbulo es un espacio de tránsito, socialización, encuentro y trabajo. Y en el otro interior, está muy presente la idea de activar sus recursos (en forma, formatos y disposición).
          Actualmente, practica una pedagogía del espacio, con un diseño que invita, pero nunca manda. Felipe, un bibliotecólogo, me explicó que dividieron las colecciones y en el primer piso colocaron
          
    
    La “Sala General” es el espacio clásico de la Biblioteca: lugar de lectura, estudio y consulta, cada vez es más también un lugar de trabajo gracias al Internet y las tecnologías móviles.
          
    155
        Un puente entre tiempos
          género o la conciencia ecológica) modificaron prácticas y espacios arquitectónicos, pero también –o sobre todo– nos mostraron cuestiones básicas que permanecen en el tiempo (como la lectura, que no siempre ha sido privada o en voz baja, o bien, el deseo de releer, reaprender, investigar, recuperar).
          Un ejemplo: ¿ha visitado usted Instagram? Pues bien, mucho de lo que sucede en esta red social es lo mismo que los usuarios quieren, buscan y pueden hacer en una biblioteca pública: comer sano o idear nuevas recetas de postres, divertirse, tocar un instrumento; leer poesía, discutir filosofía, bailar, dibujar; buscar consejos
          para mejorar rutinas deportivas, terminar (o no) proyectos, rastrear mejores herramientas para cuidarse y cuidar (a otras personas, a sus animales o plantas).
          
    
    Mientras las bibliotecas se abren a las ciudades, gana terreno la valía de explorar deseos y prácticas que los usuarios se inventan para sí y para otros. Esta exploración está directamente relacionada con el sentido de estos espacios públicos y, por eso, más allá de ser espacios que contienen información sobre múltiples conocimientos, urge que así mismo sean espacios donde la arquitectura bibliotecaria propicie nuevos procesos de aprendizaje o sean lugares de creación.
          
    La Plazoleta Argos, hoy espacio de encuentro y de actividades culturales bajo techo, fue antes el parqueadero de la Piloto.
          Aquí, durante los Días del Libro, 2022.
          154
        Es necesario (re)pensar las bibliotecas como sucede con un poema: como un espacio diseñado para que en él sucedan cosas. Comenzar por desmontar las preconcepciones y los imaginarios anclados en el tiempo para que las bibliotecas, como edificios públicos, experimenten, propongan y construyan otras experiencias.
          La arquitectura bibliotecaria de la Piloto
          La primera vez que visité Medellín, en 2017, la Piloto estaba en transformación. Maderas, varillas, concreto y grava cerraban el paso, sin prefigurar el hermoso jardín que actualmente la rodea. Al conocerla en 2020, me sorprendió su relación íntima con la ciudad, desde su anuncio
          en la estación Suramericana del Metro, a casi 800 metros de distancia, así como por sus diversas ofertas y por algunos testimonios (escuchados o leídos) de usuarios.
          En el caso de la renovación del edificio de la BPP (2017-2018), el antiguo estacionamiento se convirtió en una plaza diversa: cine al aire libre, pista de baile, diversas ceremonias y eventos colectivos. En el interior, el vestíbulo es un espacio de tránsito, socialización, encuentro y trabajo. Y en el otro interior, está muy presente la idea de activar sus recursos (en forma, formatos y disposición).
          Actualmente, practica una pedagogía del espacio, con un diseño que invita, pero nunca manda. Felipe, un bibliotecólogo, me explicó que dividieron las colecciones y en el primer piso colocaron
          La “Sala General” es el espacio clásico de la Biblioteca: lugar de lectura, estudio y consulta, cada vez es más también un lugar de trabajo gracias al Internet y las tecnologías móviles.
          
    155
        Un puente entre tiempos
          signaturas que imaginaron interesantes para los más jóvenes, como la totalidad del acervo de Filosofía y Artes, mientras que el resto está en el segundo piso. Esto obedeció a que anteriormente la Biblioteca era visitada sobre todo por personas mayores, lo que les ayudó a reconocer cuán determinante es la relación espacio-acervo.
          Entonces, si desde sus orígenes la Piloto fue pensada como un modelo, ¿qué debe quedar claro para que habitemos (aunque sea mentalmente) esta y otras bibliotecas?:
          Que nuestros intereses van a la saga de cambios tecnológicos y productivos, por eso necesitamos consultar ideas y deseos de otros, lejanos y cercanos, en el espacio-tiempo.
          Que el acento en el uso personal de las bibliotecas es algo reciente: hasta hace poco se ponía el foco en los acervos, por eso son tan necesarios los diversos cambios en su espacio físico.
          Que es un lugar de creación, refugio, ocio, descanso, atención, desconexión y conexión con otros, pero, sobre todo, con nosotros mismos.
          La escasez de lugares para la construcción de sentido la convierte en espacio de autoconocimiento e intimidad.
          Si los equipamientos son espacios para el equilibrio y la salud, la arquitectura bibliotecaria
          es redistributiva, vinculada con la justicia social, cultural, científica, académica, artística, común, individual y colectiva.
          Las bibliotecas se conectan e insertan de una manera distinta y a contracorriente de la arquitectura y urbanismos pensados para la producción y el consumo. Por eso, reimaginarlas constructivamente requiere planificarlas menos como sitios para instruir(nos), y mejor como espacios amables para quienes gustan de pasarlo bien asombrándose en cualquier formato.
          Manifiesto de bolsillo para la arquitectura de la BBP
          1. Idealmente, un edificio planta ideas.
          2. Los mejores diseños son como un poema: espacio construido para que en él sucedan cosas.
          3. Las bibliotecas están hechas de lugares para la creación, la atención, la conexión –sobre todo con uno mismo–, y también para el refugio, la desconexión, el ocio, la risa, el llanto o el descanso.
          4. Las bibliotecas públicas son la contracorriente de un urbanismo del lucro y de la producción para el hiperconsumo.
          5. Por eso, pensar las bibliotecas sin repensar la arquitectura de las bibliotecas, es traición.
          156
        La mediación logra poner en contacto a usuarios contemporáneos con herramientas e ideas que ya no existen. De esta manera, el patrimonio y la memoria cobran sentido para los ciudadanos que nos visitan.
          
    157
        Un puente entre tiempos
          
              
              
            
            Agradecimientos
          Muy poco se logra cuando se camina en solitario. Siete décadas lleva la Biblioteca Pública Piloto de Medellín recorriendo el camino difícil y complejo de incentivar la lectura y de servir de hogar para la cultura, en el sentido más extenso de la palabra. Así, en el andar de tantos años, hemos compartido la marcha con los que están en nuestra misma brega, o nos hemos cruzado con los que ya vienen de vuelta, o nos hemos apoyado en otros, así como el caminante lo hace en el bordón. O también, hemos servido de apuntale para aquellos que nos ven como compañeros de viaje en quienes se puede confiar.
          Ahora, que es la oportunidad de recapitular, queremos recordar y reconocer a todos los que han caminado con nosotros. Pero la memoria no es infalible y la relación es larga y además no queremos ser culpables del ejercicio involuntario de exclusión en que termina convertida toda lista.
          Por eso, con cariño y aprecio, la Biblioteca Pública Piloto de Medellín quiere reconocer y agradecer la compañía en estos 70 años de ministerios, gobernaciones, alcaldías y secretarías, de todos los directores, empleados y consejos directivos que ha tenido, de otras bibliotecas, centros de lectura y cultura, universidades públicas y privadas, de academias y escuelas de arte, de profesores, estudiantes, editoriales, de libreros y librerías, de escritores, de museos y curadores, de periódicos, la televisión y la radio local, de periodistas, de la empresa privada, fundaciones e institutos de cultura, de las embajadas y consulados, de las alianzas y los centros culturales extranjeros, de las cajas de compensación, de los teatros, de las litografías, de los operadores logísticos, fotógrafos, y de quienes se han acercado a hacer donaciones de libros, revistas, fotos, cartas, manuscritos o películas, de sus empleados y servidores públicos. Y, en especial, de los lectores y usuarios que le dan la razón de existir.
          158
        Adrián Fernando Prado Pereañez
          Agustín Evelio Echeverri Jiménez
          Alba Maria Pérez Giraldo
          Aleida Hurtado Montenegro
          Alejandra Yaneth Quintero Cardona
          Alejandro Loaiza Giraldo
          Alejandro Osorio Carmona
          Alexander Herrera Gil Álvaro Sierra Jones
          Amalia Londoño Duque
          Amalia Urrea de Siegrist
          Ana Carolina Montoya
          Ana María Bermúdez
          Ana Maria Ciro Montoya
          Ana María Grisales M.
          Ana María Hernández Quiroz
          Ana Maria Osorio Olaya
          Ana Patricia García Ortega
          Andrés Federico Ruiz Tobón
          Andrés Ignacio Baena Arce Ángel Ovidio González Álvarez Ángela Miriam Henao Pulgarín
          Aracelly Rodríguez Loaiza
          Betty Rosario Vergara Torregrosa
          Blanca Ruth Cano Herrera
          Carlos Mario Aguirre Carlos Uribe Uribe
          Carlos Andrés Arroyave Velásquez
          Carlos Andrés Blandón Castaño
          Carlos Andrés Montoya Valencia
          Carlos Arturo Montoya Correa
          Carlos Julio Atehortúa
          Carolina Cecilia Hoyos Ortiz Carolina Salazar
          Catalina Maria Jaramillo Vallejo
          Catherine Hernández Hurtado
          Célimo Romaña Caicedo
          Claudia del Socorro Rodríguez Vélez
          Claudia Elena Duque Moreno
          Claudia Patricia Ortiz Peña
          Claudia Vásquez Vargas
          Cristian Perea Palacio
          Cruz Patricia Díaz Cardona
          Daniel Zapata Hincapié
          Darlyn Yesenia Vargas Zapata
          Deisy Piedrahíta Berrio
          Deneiber Sady Mesa Paniagua
          Diana Beatriz Morales Patiño
          Diana Leidy Moreno Ramirez
          Diana María Orozco Aguinaga
          Diana Melissa Gutierrez Morales
          Diana Patricia Quiroz Martínez
          Didier Antonio Gómez Vélez
          Dora Inés Marulanda Blandón
          Edgar de Jesús Pavas Álvarez
          Eduardo Arroyave
          Elkin Darío Duque Franco Elkin de Jesús Holguín
          Elkin Fabián Urrego Montoya
          Emmanuel Enrique Torres Aguirre Emperatriz Muñoz Pérez Esnélida Pérez Mejía
          Esteban Duperly Posada Esteban Eduardo Correa Tabares
          Estefanía Duque Valencia
          Fabián Alveiro Guarín Osorio
          Fabio Andrés Osorio Jiménez
          Felipe Bernal Henao
          Francis Haneth Cadena Ospina
          Gabriel Jaime Vanegas Montoya
          Gloria Aleida Soto Villegas Gloria Johana Gaviria Gloria Liria González Roldán
          Gloria Patricia Cataño Hoyos
          Gonzalo Cárdenas Muñoz
          Guillermo Cardona Marín Guillermo León Gómez Pérez
          Hernán Darío Ramírez Calderón
          Hernando Villafradez Abello
          Herman Montoya Gil
          Hugo Alejandro Vásquez Echavarría
          Humberto Zapata Osorio
          Isabel Cristina Giraldo Hoyos
          Isabel Cristina Uribe Gómez
          Isabel Vélez Rivas
          Jackeline García Chaverra
          Jaime Jaramillo Escobar
          Javier Gil Gallego Javier Guillermo Murillo Jaramillo
          Jeicy Martínez
          Jhon Alexander Vergara Jaramillo Jhon Freddy Almanza Jhon Harol Zapata Soto Jenifer Holguín Cardona
          John William Jaramillo Tejada Jorge Albeiro Gómez Agudelo Jorge Daniel Pérez
          Jorge Eduardo Arbeláez Rojas Jorge Iván Agudelo Zuluaga
          José Alexander Torres Ramírez José Antonio Gaviria Gallego José Jairo Morales Henao Juan Camilo Usuga
          Juan Carlos Sánchez Restrepo Juan David Álvarez Cano Juan Diego Mejía Mejía Juan Diego Urrea Upegui
          Juan Felipe Restrepo Escobar
          Juan Guillermo Benjumea Aristizábal Juan Guillermo Echeverri Tapias Juan Guillermo Ramírez
          Juan Miguel Villegas Jiménez
          Juan Pablo Hernández Posada
          Julián Camilo Quiroga Martínez Julián David Gil Valencia
          Julián Mateo Taborda Katerinne Olaya Delgado Kelly Johana Marín Sánchez
          Laura Carolina Pavón Sánchez Laura Catalina Arias Gaviria Leidy Johana Ruiz Jiménez
          Leydi Johana Jaramillo González Leydy Johana Lezcano Jiménez Luisa Fernanda Hinestroza Martínez
          Luz Carime Claros Rodríguez Luz Estela Peña Gallego
          Luz Jenny Giraldo Arredondo Luz Marina Usuga Vallejo
          Luz Marina Vanegas Samper Marcela Luna Sanchez
          Mari Elena Caro Lora
          Maria Alejandra Builes Restrepo
          María Alejandra Garavito Posada Maria Angelica Mercado Castrillón
          María del Pilar Pérez Gómez
          Maria Camila Jaramillo Mira
          María Eugenia Gutiérrez Flórez
          Maria Isabel Barragán Pérez María Victoria Suárez Gutiérrez María Yohem Taborda Cardona
          Mario Andrés Ceballos Quintero Marisol Echeverri Díaz
          Maribel Sandoval Hernández Margarita Isaza Velásquez
          Marleny de Jesús González Vergara Martha Cecilia Gómez Calle
          Mónica Elena Buriticá Cardona Mónica Maria Gil Guzmán
          Mónica Maria Ocampo Restrepo Mónica Montoya Ríos
          Natalia Tamayo Bernal Nicolás Darío Ríos Mejía Noemy Martínez Palacio Nora Elena Vásquez
          Óscar Willians Herrera Herrera
          Paola Andrea Benítez Duque
          Paola Andrea Sepúlveda Quiceno
          Paula Andrea Duque Agudelo
          Paula Andrea Ocampo Castaño
          Paula Andrea Rendón Suárez
          Sandra Sugey Zapata Jaramillo
          Sara María Balcázar Rengifo Sara Regino Delgado
          Sebastián Roldán
          Senia Luz Vargas Góngora Shirley Milena Zuluaga Cosme Sigifredo Antonio Vasco M. Sirley Milena Restrepo Ramírez Socorro Gil Henao
          Teresa de Jesús Naranjo Narváez
          Valentina Bustamante Cruz
          Vibiana Yaneth Jaramillo Madrid
          Vicente Emiro Sepúlveda López
          Víctor Manuel Ramírez Valencia Verónica Mejía Acevedo
          Walter Jairo Echeverri Jiménez Yakelin Vanegas Morales
          Yeimy Alexandra Franco Layos
          Yuli Andrea Álvarez Molina
          Yuverlán Gutiérrez Pastrana
          159
        Este libro se terminó de imprimir, mientras caían las flores de los guayacanes, en octubre de 2022 en Medellín, Colombia.
          Ejemplares numerados del 501 al 1500.
          
    En la primera edición de este libro nos preguntamos si sería posible hacer el relato total de seis décadas de existencia de la Biblioteca Pública Piloto de Medellín para América Latina. Ahora, al enfrentar la reedición del texto para celebrar los setenta años, la pregunta es otra vez la misma. Y la respuesta también: resulta muy difícil condensar en poco menos de una centena y media de páginas los ires y venires, las vueltas, las lidias, los triunfos y los cambios de la Piloto. Pero aquí vamos de nuevo.
          Este libro contiene desde los orígenes en París de un proyecto piloto que sirviera de modelo para otras bibliotecas en América Latina, hasta la modernización del edificio del barrio Carlos E., ocurrida hace poco, aunque más que un cambio de apariencia en realidad se trató de la actualización de una vocación que le sigue el paso a los tiempos que corren. Entre hojas se evocan los talleres, las salas de lectura, las filiales, el Fondo Editorial, los árboles que rodean la sede central. Y también se les rinde homenaje a algunos personajes entrañables, aunque varios ya no están, y ahora debemos hablar de ellos en pasado. El tiempo, en fin. Pero seguimos.
          Una vez más pequeñas crónicas, reportajes, reflexiones personales, cronologías y notas biográficas intentan la tarea de contar qué fue, qué es y, como novedad, qué quiere ser la BPP. Hicimos algunos cambios, pero una sola cosa no varió: pasan los años, se suman las décadas y la Piloto no deja de ser una de las bibliotecas más queridas de Medellín.
          ISBN 978-958-8990-53-8