proposte mese di ottobre beni immobiliari palermo

Page 1

TEL. 0916824690 - 0917736806 - 3356778932 CAMPOLO Discreto stato 5 VANI | MQ 130 EURO 299.000 Box auto ZONA CAMPOLO NOTARBARTOLO precisamente in via giovan Battista lulli proponiamo in vendita appartamento luminoso piano alto doppia esposizione composto da ingresso salone doppio 3 camere cucina abitabile bagno con possibilità di ricavare anche il secondo, ripostiglio. Completa la proprietà un box auto. VIA G. B. LULLI Rif. 46/22 2 B E N I I M M O B I L I A R I P A L E R M O
A MONDELLO NELLE VICINANZE DEL LUNGOMARE ALTEZZA PRECISAMENTE ALL'INTERNO DI UN RESIDENCE IN VIA MISENO proponiamo in vendita villa bilivelli con piscina e spazi esterni composta da piano terra ingresso salone doppio, cucina abitabile. wc, ripostiglio piano seminterrato 3 camere con portafinestra , ulteriore wc. Ampi spazi esterni con zona barbecue, 2 posti auto. La villa si presenta in ottimo stato con impianti rifatti, infissi vetrocamera, sistema d'allarme, riscaldamento autonomo MONDELLO Ottimo stato 5 VANI | MQ 160 EURO 659.000VIA MISENO Rif. 47/22 3 B E N I I M M O B I L I A R I P A L E R M O W W W . B E N I I M M O B I L I A R I P A L E R M O . I T V I L L A
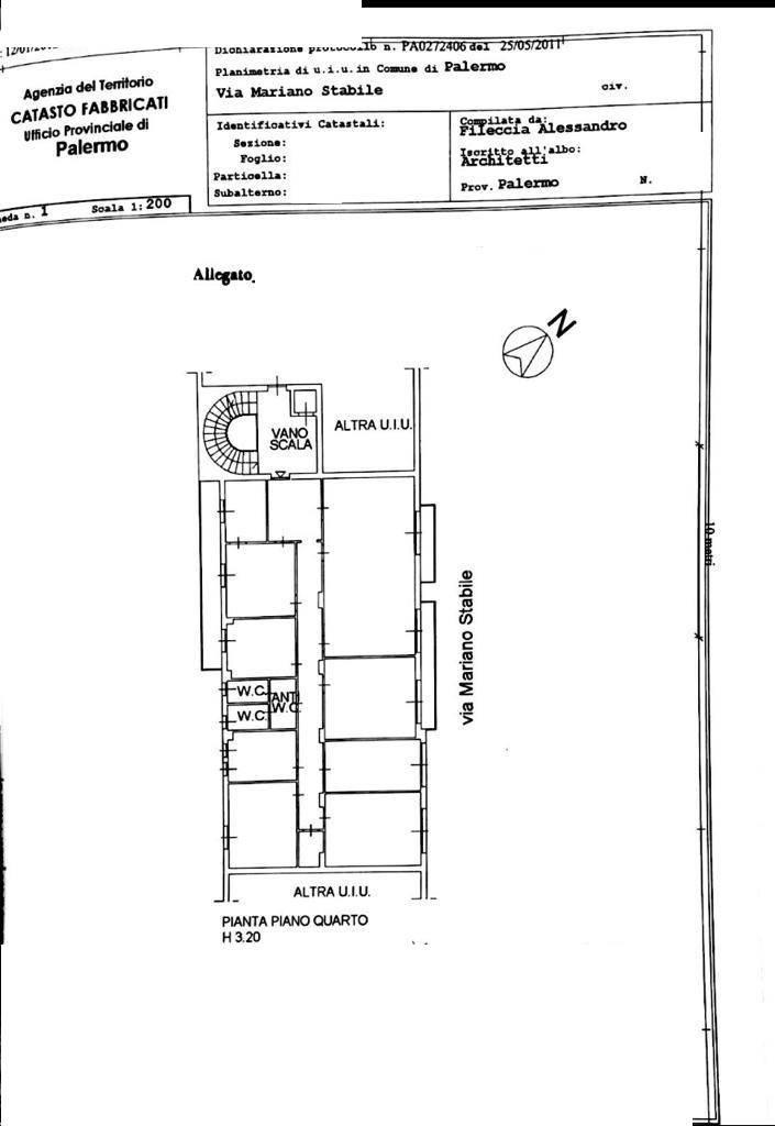
TEL. 0916824690 - 0917736806 - 3356778932 In Via Mariano Stabile a posto al quarto piano con ione composto da 10 va o con categoria A/10 con p tazione Sia per la posizion aniera ottim POLITEAMA VIA M. STABILE Rif. 37/22 4 B E N I I M M O B I L I A R I P A L E R M O
5 Ottimo stato MQ 90 | VANI 3 Box auto In contesto signorile, a pochi passi da Via Dante e Regina Margheritain prossimità della Clinica Demma più precisamente in Via Maurigi, in stabile con servizio di portierato proponiamo in vendita luminoso piano alto con doppia esposizione composto da ingresso su salone pari ad un vano e mezzo, 2 camere, cucina, bagno e ripostiglio. L'appartamento si presenta in ottimo stato e con 2 ampi balconi. Completa la proprietà un box auto sito al piano S1 di 16 mq soppalcato e con apertura automatizzata. B E N I I M M O B I L I A R I P A L E R M O EURO 210.000VIA MAURIGI DANTE Rif. 41/22 W W W . B E N I I M M O B I L I A R I P A L E R M O . I T NUOVO PREZZO

In pieno centro storico all’interno di un palazzo del 600’ che porta il nome di Amari Bajardi con prospetto appena rifatto. Ampio appartamento posto al primo piano composto da: ingresso, ampio salone con tetti a volta, soggiorno, tre camere di cui 2 soppalcate, cucina, 2 bagni ripostiglio terrazzino e balconi. Si presenta con pavimentazione e mazzetti rifatti porte in douglas, impianto di riscaldamento e rifiniture del 600 come i tetti a cassettoni con dipinti originari.

TEL. 0916824690 - 0917736806 - 33567789326 B E N I I M M O B I L I A R I P A L E R M O Buono stato MQ 245 | VANI 7 EURO 330.000VIA S. CRISTOFORO CENTRO STORICO Rif. 17/21
Ottimo stato MQ 200 | VANI 6 EURO 339.000 7 B E N I I M M O B I L I A R I P A L E R M O in palazzina d'epoca ristrutturata, luminoso appartamento attualmente uso ufficio ristrutturato, composto da: ampio ingresso salone doppio quattro camere cucina doppi servizi. VIA F.SCO CRISPI ROMA-CRISPI Rif. 74/21 W W W . B E N I I M M O B I L I A R I P A L E R M O . I T
8 S P E C I A L E P A L A Z Z I N E Intero stabile indipendente su 2 livelli di 600 mq circa composto da 8 appartamenti con ampi spazi esterni di circa 500 mq PIAZZA INDIPENDENZA Rif. 81/20 Terrazzo mq 500◘ TEL. 0916824690 - 0917736806 - 3356778932
INCENTROSTORICOALLESPALLEDELLANUOVAZONADELTRIBUNALE,ADUEPASSIDALLO STORICOMERCATODELCAPOPROPONIAMOINVENDITAINPALAZZINASTORICA RISTRUTTURATA: 3BIVANIGIA'LOCATIEDARREDATIINOTTIMOSTATOCONTERRAZZO MQTOTALI162 RICHIE Ottimo stato 3MONOVANIGIA'LOCATIEDARREDATIINOTTIMOSTATO MQTOTALI71RICHIESTAEURO159.000 9 S P E C I A L E P A L A Z Z I N E VIA BARBARACI TRIBUNALE Rif. 65/21 INTERA PALAZZINA COMPOSTA DA 7UNITA'IMMOBILIARI RICHIESTAEURO469.000 W W W . B E N I I M M O B I L I A R I P A L E R M O . I T
Buono stato MQ 120 | VANI 4 EURO 275.000 In palazzo signorile con servizio di portierato e doppio ascensore proponiamo in vendita appartamento luminoso composto da ingresso salone doppio 2 camere cucina abitabile doppi servizi e 2 balconi con doppia esposizione. L'appartamento si presenta in buono stato con impianti rifatti, riscaldamento autonomo e parzialmente parquettato. VIA PACINOTTI 10 B E N I I M M O B I L I A R I P A L E R M O CAMPOLO Rif. 15/22 TEL. 0916824690 - 0917736806 - 3356778932
W W W In zona servita da mezzi pubblici e da numerose attività commerciali, a due passi dalla Stazione Notarbartolo proponiamo appartamento con tripla esposizione composto da ingresso salone doppio, 2 camere, cameretta, cucina, wc, ripostiglio CAMPOLO Da ristrutturare 5 VANI | MQ 130 EURO 235.000VIA G.B. LULLI Rif. 63/20 11 B E N I I M M O B I L I A R I P A L E R M O
Ristrutturato 4 VANI | MQ 140 VIA POLLACI EURO 235.000 12 B E N I I M M O B I L I A R I P A L E R M O All'interno di un residence, luminoso ampio quadrivani, con doppia esposizione. Si presenta in ottimo stato con impianti rifatti e infissi in vetrocamera composto da ingresso, cucina soggiorno, tre ampie camere, bagno, due ripostigli, balconato, posto auto scoperto in zona condominiale CALATAFIMI ALTA Rif. 7/22 TEL. 0916824690 - 0917736806 - 3356778932
W W W . B E N I I M M O B I L I A R I P A L E R M O . I T Buono stato MQ 115 | VANI 5 EURO 179.000 In residence luminoso balconato, piano alto. composto da ingresso Salone, soggiorno, cucina abitabile, 3 camere, cameretta ripostiglio, 2 bagni + cantina e posto auto scoperto. VIA DEGLI EMIRI 13 B E N I I M M O B I L I A R I P A L E R M O ZISA Rif. 36/22
Buono stato MQ 120 | VANI 5 EURO 195.000 Terrazzi mq 60◘ Posto Auto Scoperto All'interno di un residence in Via Cruillas vicino la piazza appartamento posto al piano rialzato con doppio spazio esterno composto da ampio ingresso, salone pari ad un vano e mezzo con affaccio sul terrazzino di 20 mq, soggiorno, cucinotto con accesso sull'altro ampio terrazzo di 40 mq, camera matrimoniale con bagno in camera, due camerette, bagno principale, ripostiglio. Completa la proprietà il posto auto all'interno del residence. 14 VIA CRUILLAS CRUILLAS B E N I I M M O B I L I A R I P A L E R M O Rif. 6/22 TEL. 0916824690 - 0917736806 - 3356778932
In residence appartamento posto al piano rialzato con spazio esterno composto da ingresso salone pari ad un vano e mezzo, camera, 2 camerette, cucina, 2 wc, ripostiglio + terrazzo 30 mq + posto auto Possibilità box auto 15 VIA CRUILLAS CRUILLAS B E N I I M M O B I L I A R I P A L E R M O Rif. 30/22 W W W . B E N I I M M O B I L I A R I P A L E R M O . I T
T E L . 0 9 1 6 8 2 4 6 9 0 - 3 3 5 6 7 7 8 9 3 2 IMMOBILI 4/5 VANI IN ZONA NOTARBARTOLO, STRASBURGO, CENTRO STORICO, LIBERTA'; VILLE A MONDELLO CON AMPI SPAZI ESTERNI. Ricerchiamo BENI IMMOBILIARI PALERMO
Da ristrutturare MQ 90 | VANI 3 EURO 119.000 POSTO AUTO In residence appartamento luminoso composto da ingresso soggiorno con angolo cottura, 2 camere, bagno, ripostiglio + posto auto scoperto 18 VIA CRUILLAS CRUILLAS B E N I I M M O B I L I A R I P A L E R M O Rif. 44/22 TEL. 0916824690 - 0917736806 - 3356778932
Da ristrutturare 4 VANI | MQ 100 P.ZZA T. ANELLI EURO 83.000 Discreto stato MQ 80 | VANI 3 EURO 89.000 19 B E N I I M M O B I L I A R I P A L E R M O Appartamento al primo piano con ascensore composto da ingresso salone pari ad un vano e mezzo, 2 camere, cucina, 2 wc + cantina E. BASILE Rif. 27/22 A pochi metri da via leonardo da vinci bassa, precisamente in via Adolfo Holm ottimo uso investimento, proponiamo in vendita nuda proprietà in palazzina ristrutturata piano terra composto da: ingresso, salotto, 2 camere, cucina abitabile, bagno, ripostiglio e spazio esterno di circa 220 mq con possibilità di accesso per due posti auto. NUDA PROPRIETA' VIA HOLM PARISIO Terrazzo mq 220◘Rif. 2/21 W W W . B E N I I M M O B I L I A R I P A L E R M O . I T
Buono stato 3 VANI | MQ 65 C.LE MINEO EURO 65.000 20 B E N I I M M O B I L I A R I P A L E R M O CASTELFORTE Rif. 5/22 Terrazzo mq 10◘ In zona servita da diverse attività commerciali, vicini a servizi di trasporto, appartamento indipendente ristrutturato recentemente composto da: ingresso, cucina soggiorno , due camere da letto, bagno, ripostiglio e terrazzo . L'appartamento è dotato di infissi in vetrocamera ed impianti rifatti. 9177 32 Ristrutturato MQ 60 | VANI 2 In zona servita da mezzi pubblici, ottimo uso anche ad uso investimento Appartamento posto al piano terra all'interno di una palazzina di 2 piani. L'appartamento si presenta in ottimo stato con impianti rifatti ed è composto da ingresso indipendente su soggiorno, cucina, camera e wc. C.LE I CARUSO ARENELLA Rif. 25/22 EURO 49.000 NUOVO PREZZO
Da ristrutturare VANI 4 | MQ 110 EURO 79.000 Panoramico luminoso quarto piano ed ultimo senza ascensore composto da ingresso salone doppio, camera, cameretta, cucina abitabile, servizio, ripostiglio, balconato VIA PETRULLA B E N I I M M O B I L I A R I P A L E R M O Rif. 57/21 21 PERPIGNANO ALTA W W W . B E N I I M M O B I L I A R I P A L E R M O . I T
Buono stato 2 VANI | MQ 40 C.SO UMBERTO I EURO 29.000 Ottimo stato MQ 75 | VANI 2 EURO 39.000 Ottimo pied à terre ristrutturato, composto da soggiorno con angolo cottura, camera, bagno. FICARAZZI Rif. 33/22 22 B E N I I M M O B I L I A R I P A L E R M O Appartamento ottimo anche uso investimento posto al primo piano composto da ingresso cucina soggiorno, camera, cameretta, wc, ripostiglio, 2 balconi L'appartamento si presenta in ottimo stato con impianti rifatti e dotato di pompe di calore. VIA FERRARIN BOCCADIFALCO Rif. 28/22 TEL. 0916824690 - 0917736806 - 3356778932 NUOVO PREZZO
V I L L A VIA DEGLI ULIVI TRABIA Buono stato 9 VANI | MQ 300 EURO 229.000 23 B E N I I M M O B I L I A R I P A L E R M O Villa indipendete bilivelli composta da piano terra ingresso salone triplo cucina abitabile camera, servizio, primo piano ingresso 4 camere, cucina, soggiorno, 2 servizi, + terrazzi Spazioesternomq1000◘Rif. 10/21 W W W . B E N I I M M O B I L I A R I P A L E R M O . I T
V I L L A Buono stato MQ 70| VANI 3 EURO 68.000 Spazioesternomq50◘ Posto Auto Scoperto In residence con piscine, campo da tennis, calcetto e spiaggia privata Porzione di villetta a schiera con ampio terrazzo e posto auto C.DAPISTAVECCHIA TEL. 0916824690 - 0917736806 - 335677893224 B E N I I M M O B I L I A R I P A L E R M O CAMPOFELICE DI ROCCELLA Rif. 12/22
V I L L A 25 B E N I I M M O B I L I A R I P A L E R M O VIALE EUROPA FICARAZZI Da ristrutturare 3 VANI | MQ 100 EURO 139.000 In residence con piscina e campo da tennis ed accesso privato al mare, proponiamo in vendita villetta a schiera bilivelli con spazio esterno. La villetta dispone inoltre di un posto auto coperto con cancello automatico Spazioesternomq160◘ Rif. 65/20 W W W . B E N I I M M O B I L I A R I P A L E R M O . I T
V I L L A 26 B E N I I M M O B I L I A R I P A L E R M O VIA LAVORNI PIANO GELI Da ristrutturare 3 VANI | MQ 60 EURO 69.000 In contesto di ville abitate tutto l'anno, immerso nel verde proponiamo in vendita panoramica villetta unifamiliare su un unico livello con ampio terreno di circa 1.700 mq. La villetta è composta da ingresso su cucina, soggiorno, camera, cameretta, wc e ripostiglio Completa la proprietà una piccola cantina al piano seminterrato ed un posto auto. Spazioesternomq1.700◘ Rif. 35/22 TEL. 0916824690 - 0917736806 - 3356778932
B E N I I M M O B I L I A R I P A L E R M O RIstrutturato MQ 140 VIA MAZZINI EURO 159.000 Rif. 19/22 27 Locale commerciale interamente ristrutturato su unico livello di 140 mq con soffitti alti 6 mt, 1 vetrina su strada CASTELDACCIA L O C . C O M M E R C I A L E RIstrutturato MQ 180 VIA ROCCAFORTE EURO 195.000 Rif. 34/22 Altezza stadio, ben servita. Locale commerciale, 3 vetrine su strada di circa 180 mq. BAGHERIA W W W . B E N I I M M O B I L I A R I P A L E R M O . I T
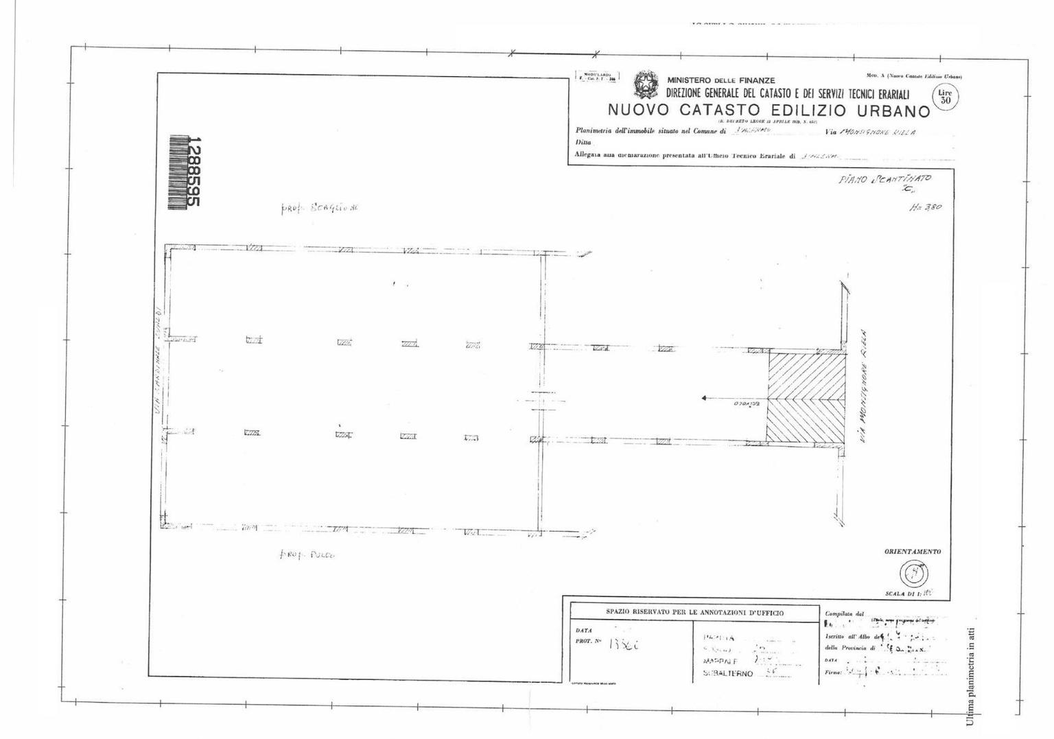
B E N I I M M O B I L I A R I P A L E R M O VIA ANGELITTI CAMPOLO C.SO DEI MILLE EURO 145.000 C.SO DEI MILLE TEL. 0916824690 - 0917736806 - 335677893228 M A G A Z Z I N O Box di circa 30 mq al piano seminterrato con punto luce e punto acqua. Accesso da cancello elettrico. EURO 40.000 B O X A U T O Locale commerciale con 2 vetrine su strada di circa 160 mq. L O C . C O M . Buono stato MQ 370 VIA RIELA EURO 110.000 Rif. 43/22 Magazzino pilastrato di circa 380 mq, con passo carrabile. Possibilità realizazzione 8 box ARENELLA
B A G H E R I A EURO 69.000 Ristrutturato 2 VANI | MQ 60 VIA ASSISI Da ristrutturare 1 VAN0 | MQ 50 EURO 55.000 Monovano con angolo cottura servizio + terrazzo a livelllo di 40 mq ed un altro sovrastante di 160 mq VIA CICERONE Ristrutturato 2 VANI | MQ 70 EURO 70.000 29 B E N I I M M O B I L I A R I P A L E R M O VIA CICERONE Ingresso indipendente piano rialzato ristrutturato ingresso soggiorno con angolo cottura camera bagno piccolo spazio esterno BAGHERIA indipendente ottimo uso investimento già locato composto da ingresso cucina soggiorno, camera, soppalco e bagno. BAGHERIA W W W . B E N I I M M O B I L I A R I P A L E R M O . I T
EURO 900 A F F I T T I VIA VERSILIA RESTIVO TEL. 0916824690 - 0917736806 - 335677893230 B E N I I M M O B I L I A R I P A L E R M O Luminoso piano rialzato, ristrutturato, composto da ampio ingresso, 3 camere, cucina , 2 wc, 2 ripostigli ed uno spazio esterno di 40 mq circa VIA M. STABILE Ufficio al piano ammezzato composto da ampia reception + 2 stanze + sala riunioni ed archivio + wc R. SETTIMO V.LO SECCO CENTRO STORICO Locale unica apertura unico ambiente parte soppalcata oggi catastato c/3 (laboratori per arte e mestieri) ottimo anche come deposito / parcheggio auto. Rif. 20/22 Ottimo stato 4 VANI | MQ 95 EURO 850 MQ 70 MQ 70
A F F I T T I 31 B E N I I M M O B I L I A R I P A L E R M O VIA PEREZ Elegante e panoramica villa indipendente su due livelli composta da: piano terra ingresso cucina salone doppio wc lavanderia primo piano salone doppio, studio, 2 camere, wc + 1 000 mq spazi esterni MONGERBINO W W W . B E N I I M M O B I L I A R I P A L E R M O . I T Rif. 45/22 Ottimo stato 7 VANI | MQ 190 EURO 1.100

Turn static files into dynamic content formats.

Create a flipbook
Issuu converts static files into: digital portfolios, online yearbooks, online catalogs, digital photo albums and more. Sign up and create your flipbook.