A través de un repaso de las nuevas, de las que se van pero vuelven y de las que siempre están, te daremos respuesta a esa incógnita.








A través de un repaso de las nuevas, de las que se van pero vuelven y de las que siempre están, te daremos respuesta a esa incógnita.
Llevo varios años recorriendo lotes en distintas circunstancias de trabajo, pero ¿podríamos decir que plagas eran las de antes? Malezas, insectos y enfermedades parecían estar bajo control con algunos pocos productos y casi sin caminar tanto el campo. Considerábamos que así se hacía y que estaba bien.
Sin embargo, las épocas cambiaron. No monitorear las parcelas con cierto nivel de detalle ya no parece ser una buena opción. Además, en los tiempos que corren, no sólo hay que pensar en un lote sino en todo un sistema de producción, considerando los distintos cultivos, las formas de producir y el impacto que eso genera.
A la hora de construir rendimiento, hay varios factores bióticos y abióticos que intervienen y/o afectan a nuestros cultivos en mayor o menor medida, y generan una brecha entre la producción real alcanzada y la potencial. Algunos estudios indican que en América del Sur, el 54% de las pérdidas de rendimiento está explicada por las plagas, siendo las malezas la principal causa (Oerke, 2003). Por tanto, emplear tácticas de manejo no sólo permitirá potenciar y hasta duplicar los resultados de cosecha, sino que también mejorará los márgenes de rentabilidad del sistema.
En estos tiempos hay más variables a tener en cuenta al pensar en “controlar una plaga”. Más allá de los aspectos técnicos sobre si una maleza es resistente a algún herbicida o si un insecticida respeta o no la fauna benéfica, hoy debemos considerar cómo impactan todas esas acciones en nuestros campos, en el ambiente, incluyendo por supuesto la rentabilidad al momento de definir cómo y en qué momento vamos a decidir hacer un control ante una situación determinada.
Desde Aapresid trabajamos para hacer más sustentables los sistemas agropecuarios. Con esa premisa, la Red de Manejo de Plagas (REM), coordinada por nuestra institución, promueve prácticas más amigables con el medioambiente. Bajo un enfoque sistémico, la REM apunta al manejo integrado de malezas, insectos y enfermedades. En esta labor, nos acompañan distintas instituciones técnicas y expertos referentes en el área, y cuenta con el apoyo de las principales empresas de tecnología fitosanitaria.
En el día a día, es un verdadero desafío pensar más allá de la plaga en sí, pero es clave que quienes formamos parte del agro, pensemos en sistemas que incluyan más aspectos y factores al momento de decidir una aplicación.
Los sistemas agropecuarios fueron evolucionando y la manera de hacer las cosas en el campo también. Desde Aapresid los invitamos a ser parte de esa búsqueda de mejora. Estamos convencidos de que juntos sabemos más.
Desde el equipo de Prospectiva queremos agradecerles que nos hayan acompañado durante todo este 2022, y desearles lo mejor para esta campaña sobre la que ya estamos avanzando. ¡Buen 2023!
Ing. Agr. Paola Mariela Díaz
Ing. Nicolás Bronzovich
Ing. Rodrigo Rosso
Ing. Paola Díaz
Lic. Lucía Cuffia
Dg. Daiana Fiorenza Dg. Chiara Scola
Lic. Cristina Bowden Ing. Alejandro Fresneda Elizabeth Pereyra
Lic. Victoria Cappiello
Dg. Matilde Gobbo Ing. Florencia Cappiello
Ing. María Eugenia Magnelli Ing. Virginia Mogni
Ing. Rodrigo Rosso Ing. María Francovigh Ing. Antonella Fiore
Lic. Lucía Ceccarelli Lic. Elina Ribot
Dg. Magalí Asencio Agustina Vacchina Delfina Sánchez
La publicación de opiniones personales vertidas por colaboradores y entrevistados no implica que sean necesariamente compartidas por la dirección de Aapresid. Queda prohibida la reproducción total o parcial de los contenidos sin autorización expresa del editor.
“Un tropezón no es caída”, se suele decir ante un paso mal dado y así lo vivimos en el partido contra Arabia Saudita, el primero de Argentina en el mundial. Todos percibimos estrellarnos contra el piso, con la idea de levantarnos rápido pero sabiendo que había que hacer un gran trabajo para no volver a caer, y así salir ilesos y triunfantes de la situación. Claro que lo conseguimos. El 2 a 0 con México nos tranquilizó y nos llenó de euforia. Hasta hubo festejos en el Obelisco porteño, como si hubiésemos pasado a cuartos de final y en realidad aún estábamos peleándola en fase de grupos. Sin embargo, los festejos se multiplicaron; porque pasamos
a Octavos, le ganamos a Australia, pasamos a Cuartos y le ganamos a Países Bajos; y transcurrió una semifinal contra Croacia que nos elevó al último peldaño.
No quiero arriesgar por donde andaremos en el mundial mientras estés leyendo mi columna, ni siquiera quiero mencionar alternativas, tan solo quiero confiar en que la levantaremos todos juntos bien alto y con el corazón en la mano.
Escribir estas palabras me lleva a hacerme la siguiente pregunta: ¿por qué nos pasa esto con el
fútbol? ¿Por qué un mundial puede parar un país, entristecernos o llenarnos de alegría como si algo fuera a cambiar de nuestro presente? La pasión no tiene respuestas. El amor por algo, por un deporte de insignia nacional en este caso, tampoco.
Esta edición de la revista hace foco en el control de plagas y no puedo dejar de pensar en controlar variables, adversidades y todo tipo de situaciones que pongan en riesgo el presente. ¿Y cuál es el presente? Dejando de lado el fútbol, el presente es crocante de seco. El presente permanece en pausa cada día que pasa y no
llueve, cada grado que levanta la temperatura en lugares donde las tres gotas que cayeron fueron benditas y hoy son vapor.
No tenemos un presente fácil, tampoco tenemos un mediano plazo auspicioso en cuanto a producción. Sin embargo, todavía existen aquellos lotes que darán producción y sobre los que hay que concentrarse.
Sabemos que tendremos la mitad del trigo del año pasado, o quizás menos. Sabemos que se retrasó la siembra de soja y que los rendimientos potenciales empiezan a quedar en el olvido ante el cierre de ventanas óptimas de implantación. Sabemos que la ganadería en provincias del norte la está pasando realmente mal, con
ladas totales de producción. Sí, dije como mínimo, algunos creen que hasta 40.
En el mientras tanto, un nuevo dólar soja con vigencia hasta el 31 de diciembre. Un dólar a 230 pesos y la oportunidad de ganar un peso más para algunos y perder muchos pesos en el caso de otros. Tanto es así que proliferaron comunicados desde distintas entidades gremiales destacando lo recaudatorio de la medida y lo poco acertado, por lo inequitativa y perjudicial que resulta la medida para aquellos que manejan la compra de soja para alimentación de animales o pactan su alquiler en soja (como en la mayoría de los contratos) y deben pagar precios de exportación.
federalismo explícito que tiene el país. De todas maneras, en el XLIII Consejo Federal Agropecuario, el ministro de economía de la nación volvió a señalar: “Cuando tomamos una decisión que afecta a un sector de la economía, tenemos que aprovechar mayor recaudación para ayudar a los perjudicados”, refiriéndose al dólar soja 2.
Aquí hago un paréntesis implícito y les digo: analistas políticos, sostienen que si el ministro Sergio Massa logra estabilizar la inflación en 50% el próximo año, se convertiría en presidente de la República. Y me surge la pregunta: ¿es suficiente con controlar la inflación para ganar una elección? No debería serlo, pero si alguien hoy logra eso en nuestro país, es casi un astro latinoamericano que pasará a los grandes de la historia. En Argentina puede pasar y hasta sería
Si el ministro Sergio Massa logra estabilizar la inflación en 50% el próximo año, se convertiría en presidente de la República. Y me surge la pregunta: ¿es suficiente con controlar la inflación para ganar una elección?
más que lógico que así suceda por lo que significa esta plaga llamada inflación.
Las variables -cual plagas a controlar- son diversas y de profundo arraigo. Tenemos plagas económicas, como la mencionada; tenemos plagas políticas, como algunos dirigentes que según quien lea éste artículo le colocará un nombre propio u otro. Eso corre por vuestra cuenta. Y tenemos las plagas propias de los seres humanos y sociales que somos. Siempre recurriré a la reflexión sobre nosotros mismos para hacernos cargo de los que somos. Que se vuelva, aunque sea por vez, a la labranza en un lote, es algo que no puede pasar en Argentina. Desde Aapresid se hace todo y todavía se debe hacer más para llegar a esas personas que aún no entienden el daño que generan. También se debe hacer mucho más para seguir concientizando sobre las buenas prácticas agrícolas, nunca redundantes, en todos los planteos que utilicen productos de síntesis química.
El camino sigue siendo largo y arduo para todos. El camino no solo tiene rocas duras y pesadas. También tiene barro pantanoso, arena movediza y por momentos suelos fértiles para producir y cuidar, y para seguir desarrollando el futuro que tenemos y queremos.
Empecé hablando de fútbol. Porque no hacerlo en este número hubiera sido no pasar la pelota a tiempo. Cierro con las plagas que nos convocan. No nos equivoquemos en el diagnóstico ni productivo, ni económico/político/social. Estudiemos bien la situación y observemos que debemos hacer, empezando por el sentir. Y por favor: nunca nos olvidemos de controlar nuestras propias plagas.
La calidad de los adyuvantes es un factor decisivo en la efectividad de los tratamientos fitosanitarios y en la seguridad del medio ambiente. Por eso en Rizobacter creamos un laboratorio específico para testeo de nuestros productos y desarrollo de nuevas tecnologías.
Calidad
Explorá nuestros productos en www.rizobacter.com.ar
El desarrollo de tecnologías para la protección de cultivos es cada vez más desafiante. Desde la síntesis de compuestos fitotóxicos, productos o extractos naturales, biopesticidas combinados en algunos casos con nanocápsulas, y hasta el uso de plasma frío. El objetivo está claro: ser la mejor defensa del equipo de los cultivos.
El descubrimiento de nuevas moléculas de plaguicidas es un proceso de largo plazo y arriesgado, pero rentable. Lograr esas moléculas lleva alrededor de 10 años y una inversión cercana a los 250 millones de dólares, por eso solo unas pocas empresas están dispuestas a desarrollar pesticidas para este mercado. Además de los costos y esfuerzos para cumplir con los requisitos regulatorios -cada vez más complejos y rigurosos-, la resistencia a los pesticidas es un desafío importante para la investigación y desarrollo (I+D) de los mismos. Los desarrolladores de productos buscan evitar un escenario en el que su
Por: Dr. Hugo Permingeat Comité de Prospectiva Tecnológica de Aapresidproducto pierda efectividad justo después del lanzamiento. Por este motivo, la búsqueda de moléculas que tengan un nuevo modo de acción es importante en este negocio de I+D.
Chio y Li (2022) analizan la complejidad de las sucesivas etapas que implica el desarrollo de un nuevo producto: desde la vía metabólica que la nueva molécula tendrá como blanco en el organismo adverso, pasando por la fase del proyecto en la que se evalúan hasta 100.000 compuestos o principios activos que provienen de cuatro fuentes: la síntesis química combinatoria, la síntesis química, la exploración de patentes y las colecciones de productos químicos, incluidos los productos naturales; continuando por la fase que implica la confirmación de la actividad, la caracterización química, la toxicocinética, la evaluación de la toxicidad y el desarrollo del proce-
so de producción. En esta fase se fabrica una cantidad adecuada de productos formulados para respaldar cualquier estudio adicional, como pruebas de campo para las solicitudes de permisos de uso experimental. La función principal de esta fase es promover cualquier posible candidato a plaguicida. La formulación de la nueva molécula y los trámites de registro continúan en su camino al pre-lanzamiento y las aprobaciones para el uso comercial.
Con la intención de profundizar en los conceptos de esas etapas y haciendo uso de nuevas
herramientas, Mei y col. (2022) presentan una Plataforma Informática de Pesticidas (PIP) para el descubrimiento, aplicación y manejo de pesticidas en términos de tres temas básicos:
1 2 3
Identificación de objetivos de pesticidas.
Diseño de candidatos de pesticidas.
Evaluación de impacto ambiental.
Esta plataforma integral recopila las herramientas informáticas para estos problemas y está disponible en http://chemyang.ccnu.edu.cn/ ccb/database/PIP/.
La identificación del objetivo de los plaguicidas es el primer paso y el más esencial para el diseño de pesticidas basados en la estructura, que apunta a la identificación de un gen o proteína con funciones biológicas esenciales para los patógenos, malezas o plagas. La informática de pesticidas se utiliza ampliamente para la identificación de objetivos mediante la predicción de la información funcional a partir de conjuntos de datos experimentales. Así, se genera capacidad de predecir de manera eficiente los posibles objetivos biológicos en diferentes organismos, que se pueden validar aún más a través de pruebas experimentales. Por ejemplo, PlantSPEAD es una base de datos que proporciona más de 43.000 proteínas relacionadas con el empalme o splicing de plantas con información de expresión génica. Los receptores olfativos (OR) de insectos están involucrados en la mayor parte de la percepción y comunicación olfatoria, los cuales podrían ser objetivos potenciales para el desarrollo de insecticidas. Se desarrolló un servidor web insectOR para predecir genes OR de insectos mediante múltiples algoritmos de predicción de genes y se logró una precisión de hasta el 99%. También se estableció un repositorio de genomas y transcriptomas de insectos (InsectBase) con más de 16 millones de secuencias de 817 genomas de insectos. Estos recursos proporcionan información fundamental para la identificación de nuevos objetivos impulsados por la genómica.
De manera inversa, la plataforma ACID ayuda a encontrar un objetivo potencial basado en el ingrediente activo, pero solo para los objetivos de plaguicidas conocidos (Mei y col., 2022).
La segunda etapa es el diseño de los ingredientes activos de los herbicidas. La informática de pesticidas proporciona información racional sobre la optimización molecular que podría guiar el diseño de nuevos ingredientes activos de pesticidas y contribuye a los procesos de generación molecular y evaluación de la semejanza con los plaguicidas. La generación de estructuras moleculares basadas en fragmentos de ingredientes activos de plaguicidas es una estrategia interesante en esta etapa a partir del
desarrollo de herramientas web. Como ejemplo puede citarse la base de datos de fragmentos de medicamentos y pesticidas (PADFrag), que recolectó los fragmentos de 1652 medicamentos comercializados y 1259 pesticidas, que contenían un total de ~5919 fragmentos únicos y sus objetivos correspondientes. También existen herramientas web que permiten una evaluación de similitud con plaguicidas. Un ejemplo son los servidores web FungiPAD, InsectiPAD y HerbiPAD que proporcionan una evaluación de la similitud con los fungicidas, insecticidas y herbicidas, respectivamente, con precisiones entre el 70 y el 82,5% (Mei y col., 2022).
El impacto ambiental completa la plataforma PIP. El residuo de plaguicidas se refiere a los plaguicidas que no son metabolizados o degradados en el medioambiente. Sus toxicidades tienen efectos nocivos en el entorno ecológico, como el aire, el suelo y el agua, así como en la salud de los seres vivos. La informática de pesticidas predice los residuos determinando la biomasa de degradación basada en la estructura química del pesticida y restándola de los residuos no extraíbles para obtener los residuos restantes. La toxicidad se predice mediante los
modelos de clasificación combinados con las características moleculares. La informática de plaguicidas proporciona herramientas útiles para la gestión de residuos de plaguicidas y la evaluación de riesgos. Hay muchos datos ecotoxicológicos y toxicológicos recopilados en diferentes depósitos, como la base de datos sobre pesticidas (PID) creada por Pesticide Action Network North America, que proporciona información sobre toxicidad humana y ecotoxicidad para más de 15000 ingredientes activos de pesticidas. PubChem es una base de datos de información química integral que contiene más de 111 millones de compuestos y su información relacionada de más de 800 fuentes de datos.
La informática de pesticidas se puede convertir en un enfoque prometedor en el campo de los productos fitosanitarios, basado en la justificación de los datos experimentales, la orientación del diseño de nuevos y mejores pesticidas, y la gestión de los residuos y riesgos.
La predicción de toxicidad basada en datos ayuda a reducir el costo y el trabajo de la prueba de toxicidad. Por otro lado, uno de los desafíos que enfrentan los insectos polinizadores es la exposición a los insecticidas. Por ello se desarrolló un método BeeTOX basado en la red neuronal convolucional de atención gráfica (GACNN) para la predicción del envenenamiento químico de las abejas, que ofrece una precisión del 83,7% en el conjunto de datos de prueba, aproximadamente un 6% más que otros modelos predictivos. Los datos de toxicidad y la predicción influyen positivamente en el descubrimiento de pesticidas menos dañinos (Mei y col., 2022).
De esta manera, la informática de pesticidas se puede convertir en un enfoque prometedor en el campo de los productos fitosanitarios, basado en la justificación de los datos experimentales, la orientación del diseño de nuevos y mejores pesticidas, y la gestión de los residuos y riesgos.
Los productos naturales (PN) fueron durante mucho tiempo una fuente importante de inspiración para el desarrollo de nuevos compuestos para controlar malezas, patógenos y plagas insectiles. En una revisión, Sparks y Bryant (2022) utilizan un conjunto de datos de 800 compuestos fitosanitarios históricos, actuales y emergentes para explorar la influencia de los PN en la introducción de nuevos compuestos fitosanitarios (fungicidas, herbicidas, insecticidas) en función del tiempo.
Los PN, sus derivados semisintéticos (PNS) y los compuestos inspirados en los PN (PP mimics, PNM) representan el 17% de todos los compuestos fitosanitarios. Los PN, PNS y PNM fueron una fuente bastante constante de nuevos productos fitosanitarios durante los últimos 70 años. Los equivalentes sintéticos de los PN (PNeS) son un cuarto grupo de compuestos de protección de cultivos relacionados con PN, constituidos por compuestos sintéticos que por casualidad también tienen un modelo de PN (pero no están involucrados en el descubrimiento). Si también se incluyen los compuestos PNeS, hipotéticamente, el 50% de todos los compuestos fitosanitarios podrían haber tenido
un origen de los PN. Algunas tendencias similares también son válidas para el impacto de los PN en el descubrimiento de nuevos modos de acción (MoA) o la innovación en compuestos para la protección de cultivos. Por ejemplo, los PN tuvieron el mayor impacto en el número y las ventas globales de insecticidas en comparación con los fungicidas y herbicidas. El análisis de estos autores destaca a los PN como una fuente duradera y continua de química nueva, nuevos MoA e innovación en el descubrimiento de compuestos para la protección de cultivos.
Un aspecto que no se puede ignorar y que ya fue discutido en artículos previos de esta revista es el de los pequeños RNA de interferencia (siRNA) como estrategias para el control de plagas en cultivos (ver Revistas AAPRESID N° 163, 184 y 190). El uso de estas moléculas conduce al silenciamiento de genes claves en las plagas y de esta manera limitan su acción adversa en el cultivo. En una revisión reciente, Li y col. (2022) describen a los siRNA como biopesticidas y productos biológicos novedosos que están diseñados para atacar genes de enfermedades agrícolas, insectos y malezas, interfiriendo con la expresión de sus genes objetivo o blanco para obstaculizar su crecimiento y aliviar sus efectos dañinos en los cultivos.
El uso de estas moléculas conduce al silenciamiento de genes claves en las plagas y de esta manera limitan su acción adversa en el cultivo.
Los bioplaguicidas basados en siARN se clasifican en protectores resistentes incorporados en plantas mediante transgénesis y protectores no incorporados en plantas. En el primer caso, se introduce un gen que codifica el siRNA que bloquea la expresión de un gen de la plaga en el genoma de la planta del cultivo, y el control de plagas y enfermedades se logra a través de interacciones planta-organismo objetivo. En el segundo caso, los siRNA biopesticidas son los ingredientes activos de formulaciones que requieren ser aplicados como un producto fitosanitario más para cumplir su acción biocida.
Li y col. (2022) revisan el mecanismo de acción y las estrategias de siRNA para el control de plagas, el desarrollo de plantas genética-
mente modificadas basadas en siRNA y el estado actual y las ventajas de implementar estos productos para el control de plagas, así como las futuras direcciones de investigación y problemas en la producción y comercialización. En general, este estudio tiene como objetivo dilucidar el estado de desarrollo actual de los bioplaguicidas basados en siARN y proporcionar pautas para futuras investigaciones por su altísimo potencial como estrategia en la protección de cultivos. Se demostró que los pesticidas basados en siRNA tienen muchas ventajas, como un amplio rango de objetivos, bajo costo de desarrollo y alta sostenibilidad. Por lo tanto, los pesticidas basados en siRNA pueden satisfacer requisitos importantes, como la calidad y seguridad de los productos agrícolas, la seguridad ecológica y la seguridad ambiental.
Entre las novedades a destacar en protección de cultivos es interesante la propuesta de Gressel (2022), quien plantea el uso de péptidos como ingredientes activos de nuevos pro-
ductos fitosanitarios. Su análisis se basa en que algunos organismos de todos los reinos biológicos usan péptidos tóxicos para protegerse o matar a los enemigos, y la industria agroquímica usó algunos análogos de péptidos como el glufosinato y el bialofos para aplicaciones de campo. Las nuevas herramientas computacionales que permiten dilucidar rápidamente la estructura tridimensional de las proteínas permiten predecir los péptidos que se unirán a las proteínas objetivos o blanco. A su vez, se modificaron aún más dichos péptidos para mejorar la penetración, la translocación y la estabilidad térmica. De esta manera, hay razones para suponer que las mismas técnicas se pueden utilizar para desarrollar pesticidas peptídicos, así como sinergias de pesticidas que actúen contra objetivos no farmacológicos y tengan excelentes perfiles ambientales y toxicológicos.
Te brindamos asesoramiento personalizado para que encuentres una propuesta a la medida de tu negocio. Conocé más en telecom.com.ar
Wagemans y col. (2022), por su parte, brindan una descripción del estado del arte de los agentes de control biológico (ACB) basados en virus contra hongos, bacterias, virus e insectos, con un enfoque específico basado en el componente de los virus biocidas y también en las complejas interacciones ecológicas entre virus y sus anfitriones. Dichos autores mencionan algunas estrategias interesantes, entre las que se destacan:
a) El rol de los micovirus como ACB. Se trata de parásitos obligados prevalentes en la mayoría de los hongos fitopatógenos económicamente importantes. Las interacciones micovirus-hongos se asocian frecuentemente con infecciones latentes. Sin embargo, la infección por micovirus también puede ser beneficiosa o perjudicial para el huésped fúngico. Los micovirus pueden tener muchos tipos de genomas. La formulación de micovirus puede usarse como fungicidas externos, similar a los productos comerciales basados en otros microorganismos como fagos, hongos y bacterias, siendo más prometedora para el éxito comercial. Basados en el conocimiento de estas interacciones biológicas, existen enfoques biotecnológicos que pueden hacer que esos virus sean patógenos para su huésped fúngico, interfiriendo en el ciclo de vida fúngico o con su potencial de virulencia para causar enfermedades en plantas. El silenciamiento de genes inducido por virus (VIGS) es un enfoque en el que un fragmento de un gen huésped objetivo se inserta en un genoma viral (en un clon infeccioso viral) y aquí se hace bien específico el control de plagas.
b) El rol de los virus entomopatogénicos como ACB. Existen al menos 20 grupos taxonómicos de estos virus que infectan plagas de los cultivos (entre ellos, baculovirus, cypovirus, densovirus, entomopoxvirus y picornavirus), pero no todos tienen el potencial de convertirse en ACB. Los criterios requeridos para que un ACB viral sea considerado "bueno" en la agricultura, incluyen especificidad, infectividad oral y patogenicidad, producción segura y fácil, y estabilidad en el medioambiente. La plaga y el ACB viral se deben considerar como componentes de un sistema complejo, que también incluye a la planta o el sistema de cultivo. Los componentes adicionales que influyen en la eficacia de un pesticida viral pueden incluir parámetros epidemiológicos (abundancia de plagas, densidad, distribución espacial) y factores intrínsecos del huésped (susceptibilidad, etapa, resistencia). Solos y juntos, cada parámetro puede influir en el resultado de una infección. Además, las estrategias de control biológico basadas en virus deben considerarse en el contexto de las estrategias de manejo integrado de plagas, incluida la compatibilidad con otros agentes ACB.
Los criterios requeridos para que un ACB viral sea considerado "bueno" en la agricultura, incluyen especificidad, infectividad oral y patogenicidad, producción segura y fácil, y estabilidad en el medioambiente.
Estas estrategias también ofrecen un potencial de aplicación muy alto en la protección de cultivos, pero se debe tener cuidado en seleccionar virus que tengan las propiedades esperadas en términos de aplicabilidad y seguridad. Por lo tanto, se necesita una investigación específica para comprender completamente la biología de los virus que se aplican, tanto como una comprensión del efecto de los ACB en el microbioma natural (microbioma del suelo y de la planta) para allanar aún más el camino regulatorio y garantizar la bioseguridad. Finalmente, la aceptación social es un aspecto crucial que se debe investigar con más detalle para llevar los productos a la comunidad agrícola (Wagemans y col., 2022).
La aceptación social es un aspecto crucial que se debe investigar con más detalle para llevar los productos a la comunidad agrícola
Otra tecnología con un gran futuro en la protección vegetal es la nanotecnología, por su capacidad de liberación gradual y en una escala muy baja de los ingredientes activos que deben cumplir su función para limitar los daños de las plagas agrícolas. En este enfoque se valoriza mucho el limitado impacto ambiental con el que están asociados los fitoquímicos “nano”.
Una formulación de base nano tiene como objetivo mejorar las propiedades de los pesticidas en general y de los bioplaguicidas en particular. La formulación convencional se desarrolla inicialmente a base de soluciones simples. Se pueden desarrollar formulaciones de nueva generación a través de la emulsión de aceite en agua y la fórmula de microemulsiones para lograr dispersiones homogéneas e isotrópicas de la fórmula. La fórmula más reciente de na-
noemulsiones involucra dispersiones finas de aceite en agua con un tamaño nanométrico de gotitas (1–100 nm) preparadas con un surfactante apropiado que es soluble en compuestos orgánicos y agua y, en consecuencia, proporciona estabilidad cinética.
A pesar de los muchos desarrollos sobre bioinsecticidas con una nano formulación, y también de su amplia aplicación, todavía se presentan problemas ambientales como la resistencia de plagas. Por lo tanto, una solución alternativa es el antialimentario junto con su formulación a base de nanopartículas, en comparación con el insecticida sintético convencional. Las ventajas de una formulación antialimentaria basada en nanotecnología proporcionan una alternativa para prevenir el impacto negativo de los insecticidas sintéticos que pueden causar resistencia a las plagas.
Nanotecnología, tecnología con gran potencial en la protección vegetalEn general, las fórmulas de administración de nano formulación y nanoencapsulación tienen como objetivo mejorar la eficacia y mantener la durabilidad de los ingredientes activos a través de un mecanismo de liberación lenta en los objetivos. Hay una gran cantidad de estudios que
Melanie y col. (2022) revisan y analizan varios estudios recientes que se centran en las estrategias de control de plagas utilizando pesticidas botánicos desarrollados en fórmulas de nano entrega. En particular, analizan la mejora de las propiedades para la eficacia y la eficiencia de los antialimentarios en el control de plagas de insectos. Este estudio proporciona una estrategia en el control de plagas para superar la resistencia de los insectos debido a la dependencia del uso de insecticidas sintéticos. La revisión alcanza al campo de la administración de nano biopesticidas y la nano formulación basada en antialimentos. Los autores concluyen en que la efectividad de las estrategias antialimentarias está determinada por la funcionalidad activa específica de los recursos antialimentarios relevantes para las características de la plaga de insectos objetivo.
La preparación de extractos vegetales crudos mediante una formulación basada en nanotecnología mejora potencialmente la eficacia y la eficiencia de las aplicaciones antialimentarias para controlar las plagas de insectos en los cultivos. Los extractos de plantas crudas son recursos antialimentarios potencialmente más económicos porque requieren pasos simples de procesamiento y síntesis. En consecuencia, son potencialmente una parte importante del manejo del cultivo. La estructura de los pesti-
Con un foco que podría describirse como de ciencia ficción, Panka y col. (2022) proponen el uso de plasma frío como promotor del crecimiento de las plantas y como agente de control de plagas
cidas derivados de plantas de nano entrega, incluidas las nanoemulsiones, las micelas, los liposomas, la encapsulación, la naturaleza mesoporosa y la reticulación, ofrecen una mayor eficacia y rendimiento contra las plagas de insectos, por ejemplo, mostrando solubilidad y dispersión, estabilidad de la fórmula y un mecanismo de control en la liberación.
En la búsqueda de sistemas agrícolas sustentables, con bajos insumos de productos químicos, compatibles con los programas del Pacto Verde Europeo, se requiere una investigación, desarrollo e innovación que explore nuevas técnicas no químicas para mejorar el crecimiento de las plantas y la resistencia a los estreses bióticos y abióticos. En este sentido, con un foco que podría describirse como de ciencia ficción, Panka y col. (2022) proponen el uso de plasma frío como promotor del crecimiento de las plantas y como agente de control de plagas, y presentan diferentes aspectos de su efecto en la germinación de semillas, desarrollo de plántulas, plantas y patógenos.
Estos autores afirman que “el plasma es el estado fundamental de la materia en el Universo. La materia interestelar, las estrellas y otros elementos se encuentran en el estado de plasma de la materia. Se estima que más del 99% de la masa total del Universo se encuentra en este estado. El plasma natural es relativamente raro en la Tierra. La capa gaseosa de la atmósfera
absorbe gran parte de la radiación ionizante. Sin embargo, nuestro planeta tiene una capa exterior de plasma llamada ionosfera. La principal fuente natural de formación de plasma en condiciones terrestres son los rayos o la luz de la aurora (luces polares). En general, el plasma se conoce como un cuarto estado de la materia. Es un gas ionizado caracterizado por propiedades únicas. El plasma se compone de especies atómicas, moleculares, iónicas y radicales excitadas que coexisten con numerosas especies, como electrones, radicales libres, iones positivos y negativos, átomos de gas y moléculas en estado fundamental o excitado, por ejemplo, especies reactivas de oxígeno (ROS) y especies reactivas de nitrógeno (RNS) junto con la radiación electromagnética (fotones UV y luz visible). Se considera un medio ‘cuasi-neutro’ con una carga eléctrica neta cero. Sin embargo, es eléctricamente conductor ya que contiene portadores de carga libre y exhibe propiedades que distinguen al plasma de los gases y líquidos neutros”.
El plasma frío se genera mediante una descarga eléctrica, de radiofrecuencia o de microondas. Recientemente, la contribución de las tecnologías de plasma frío en la agricultura incluyó la descontaminación de semillas o cultivos destinados a la siembra o el almacenamiento, el impulso de la germinación y el crecimiento de semillas, la reducción de la contaminación por patógenos, la producción de fertilizantes nitrogenados, la remediación de suelos, la desinfección de superfi-
cies y herramientas de procesamiento, la eliminación de etileno del aire para reducir la tasa de envejecimiento y la activación de bacterias que promueven el crecimiento de las plantas.
El plasma a baja temperatura, además de provocar cambios en la estructura externa de las semillas, impide la posibilidad de desarrollo de patógenos. El plasma frío tiene un impacto directo sobre los patógenos, lo que lo convierte en una herramienta útil para la esterilización de la superficie de la semilla. La aplicación de plasma frío cumple con los criterios del método avanzado de tratamiento de semillas, por su facilidad de aplicación, efectividad contra una amplia gama de patógenos y no toxicidad para humanos y animales. Se encontró que una mezcla de radicales libres, iones, electrones, productos de reacción estables, especies y moléculas de oxígeno reactivas, o radiación ultravioleta (UV) generada por plasma frío, induce efectos fungicidas. Distintos agentes reactivos intervienen, de forma independiente o sinérgica, en la inactivación de microorganismos.
Como se puede ver, existen interesantes y desafiantes tecnologías desarrolladas y en vías de desarrollo para fortalecer la protección de cultivos frente a sus adversidades bióticas. Muchas de ellas basadas en la síntesis de compuestos fitotóxicos, productos o extractos naturales, biopesticidas como los siRNA o los péptidos, combinados en algunos casos con nanocápsulas, y hasta el uso de plasma frío. Por otro lado,
fuera del alcance de este artículo, están las tecnologías que abordan las defensas de los cultivos frente a las mismas adversidades mediante el fitomejoramiento, entre las que se destacan la transgénesis y más recientemente la edición génica. Todas en su conjunto, trabajadas de manera integrada, ofrecen un horizonte para desarrollar una agricultura sustentable que permita alimentar a la población mundial que ya alcanzó los 8 mil millones de habitantes.
Aapresid participó de la Cumbre de Cambio Climático de Naciones Unidas COP 27, destacando el rol de los productores y de los sistemas productivos sustentables basados en siembra directa como parte de la solución al cambio climático.
Aapresid tuvo una activa participación en la 27° Conferencia de las Partes de la Convención Marco de las Naciones Unidas sobre el Cambio Climático¹ (COP 27), que este año tuvo lugar del 6 al 18 de noviembre en Sharm El-Sheikh, Egipto. La institución realizó presentaciones en eventos y desarrolló reuniones con actores estratégicos tanto para Aapresid como para el
agro argentino. El objetivo fue posicionar ante una audiencia global el modelo de agricultura sustentable basado en siembra directa que promovemos en nuestra región, y buscar ampliar la red de innovación con protagonismo del productor, con articulación público-privada, y de la mano de la ciencia y la tecnología.
¹ La Conferencia de las Partes (COP) es la Cumbre Anual que realiza la Convención Marco de las Naciones Unidas sobre el Cambio Climático (CMNUCC) donde se reúnen los 196 países más la Unión Europea que conforman a las Partes. Las COP son sesiones en las que se reúnen los países que han ratificado la CMNUCC, comenzaron en 1995 y hasta la actualidad se han realizado 27 ediciones. En las COP se toman decisiones por consenso de las 197 Partes que integran la CMNUCC, en relación a una agenda que se debe acordar y aprobar por las mismas. Se busca coordinar acciones en torno a la reducción de emisiones de gases de efecto invernadero y la lucha contra el CC. También se expone sobre acciones que se están dando para mitigar y adaptarse al CC, se comparten conocimientos y se debaten problemas emergentes.
Bajo el lema “Juntos por la implementación”, la COP 27 convocó a más de 33.000 personas, entre miembros de delegaciones oficiales, organismos observadores y prensa. Los temas relativos a pérdidas y daños², financiamiento para la adaptación, y mercados de carbono, fueron algunos de los ejes centrales en las negociaciones oficiales de alto nivel, como así también en la nutrida agenda paralela impulsada por ONGs, organismos internacionales y países. Además, por primera vez fue predominante el abordaje del rol de la agricultura y los sistemas
alimentarios en la mitigación de las emisiones de gases de efecto invernadero (GEIs), lo cual se vio reflejado en la multiplicidad de espacios exclusivamente focalizados en esta temática.
A continuación, te contamos las definiciones más relevantes de la COP en torno a agricultura y los sistemas alimentarios, las participaciones de Aapresid y algunas conclusiones del encuentro.
La agricultura fue un eje estratégico en la COP 27, dada la relevancia del sector para enfrentar los desafíos que impone el cambio climático (CC). Esto se vio reflejado en la agenda propuesta por la presidencia egipcia de la COP, que identificó el sábado 12 de noviembre como “Día de la Adaptación y la Agricultura”, dando lugar a una jornada completa de conversaciones sobre los desafíos de los sistemas agroalimentarios, como así también las oportunidades que presentan.
Además, por primera vez hubo múltiples pabellones enfocados en temas de agricultura y sistemas alimentarios: “Food Systems Pavilion”, “Food4Climate Pavilion”, “Food and Agriculture Pavilion”, y la fuerte apuesta del IICA (Instituto Interamericano de Cooperación para la Agricultura) con su pabellón “Casa de la Agricultura Sostenible de las Américas”. Este último espa-
cio propuso demostrar el papel catalizador de los sistemas agroalimentarios en las soluciones climáticas y su papel en la seguridad alimentaria mundial, y visibilizar las contribuciones de los productores y otros actores del sector a la adaptación y mitigación.
No podemos dejar de lado algunas consideraciones generales que contextualizan el abordaje de la agricultura y su vínculo con el CC en la COP 27. En primer lugar, el anfitrión del encuentro fue Egipto, un país que, al igual que el resto del continente africano, tiene importantes desafíos en torno a seguridad alimentaria. Asimismo, enfrenta desafíos relativos a la capacidad de respuesta y resiliencia ante los impactos del calentamiento global, aún cuando se trata de una de las regiones que menos ha contribuido al incremento de las emisiones globales. En segundo lugar, cabe destacar que el sector
² El concepto de “pérdidas y daños” hace referencia a la pérdida permanente o daño reparable causado por el cambio climático. El debate en torno a este tema ha cobrado gran relevancia en las COP, en tanto los países que menos han contribuido al CC pero que más sufren sus consecuencias, reclaman financiamiento para enfrentar los impactos del calentamiento global.
conocido como AFOLU (agricultura, silvicultura y otros usos de la tierra, por su sigla en inglés) es tanto fuente como sumidero de GEIs. Por un lado, representa el 23% de las emisiones globales (IPCC, 2019), y por otro lado, tiene un gran potencial de mitigación de las mismas a través de la captura de carbono en suelos. En tercer lugar, es importante resaltar el lugar que ocupa nuestro país en las emisiones globales: Argentina representa sólo el 0,8% en las emisiones globales, mientras que países como China, Estados Unidos, India, Rusia y Japón representan más de la mitad de las emisiones en el mundo (Martínez, 2021). Al mismo tiempo, nuestro país tiene una altísima capacidad para tener un balance de carbono neutro e incluso superavitario, para negociar bonos con otros países.
En este contexto, fue de suma importancia la presencia de Aapresid en la Cumbre, llevando la voz del productor a este foro global, promoviendo una agricultura de bajo impacto ambiental, basada en ciencia y tecnología, e integrando la mirada del consumidor. Actualmente, el mundo se encuentra en una encrucijada: avanzar hacia una producción agropecuaria que desconoce todo el conocimiento acumulado en ciencia y tecnología, basado en creencias, y que pone en riesgo la seguridad alimentaria global; o escalar el modelo de agricultura sustentable como el implementado en nuestra región, basado en el sistema de siembra directa, que tiene la capacidad de responder a los desafíos globales planteados por la demanda creciente de alimentos y la necesidad de garantizar la sustentabilidad y el cuidado del planeta.
En esta línea, Marcelo Torres (vicepresidente de Aapresid), disertó en la Casa de la Agricultura Sostenible de las Américas, como parte de un panel en el que se reafirmó el papel clave de la ciencia para la formulación de políticas pro naturaleza en la región y del liderazgo de los productores, haciendo foco en la importancia de la agricultura sostenible con buenas prácticas ambientales que garanticen la seguridad alimentaria del mundo. Se destacaron las prácticas regenerativas para la protección de suelos y otros recursos naturales, bajo una producción que reduzca las emisiones de carbono. “Argentina ya es líder en el cuidado de los suelos, en el control de la erosión, en el uso de tecnologías y la innovación agrícola. Desde Aapresid, trabajamos con estrategias orientadas a mantener los suelos vivos y sus implicancias en el uso eficiente del agua, en la menor dependencia de insumos sintéticos y en la maximización del secuestro de carbono”, expresó Marcelo.
Cabe destacar la organización conjunta de este panel en el pabellón de IICA con CREA (Asociación Argentina de Consorcios Regionales de Experimentación Agrícola) y GPS (Grupo de Países Productores del Sur), entidades icónicas del sector agropecuario argentino que también estuvieron presentes en la COP.
Aapresid también disertó en un panel del Food Systems Pavilion, organizado por la Coalición de Acción por la Salud del Suelo³, junto a otros representantes de organizaciones de productores, organizaciones internacionales y organismos de financiamiento. La sesión tenía el objetivo de concientizar sobre el papel crítico de un suelo sano para lograr los Objetivos de Desarrollo Sostenibles y destacar casos concretos de acciones en beneficio de ello, teniendo en cuenta que la salud del suelo y su rol central en la lucha contra el CC no fue oficialmente reconocido por la COP. En ese marco, María Cecilia Ginés, responsable del Programa Internacional de Aapresid, destacó que la institución nació de la preocupación por la salud del suelo, y explicó cómo se trabaja en la promoción de un paradigma productivo basado en el cuidado y
que busca emular a la naturaleza: el Sistema de Siembra Directa.
“La agricultura de conservación, modelo impulsado por Aapresid y que lidera la agricultura en Argentina, es el camino para lograr suelos vivos y saludables, que a su vez contribuyan a la lucha contra el cambio climático al secuestrar CO2 de la atmósfera”, resaltó Cecilia.
Finalmente, la COP también brindó la oportunidad de estrechar vínculos con actores estratégicos de diversos ámbitos. En este sentido, los representantes de Aapresid se reunieron con instituciones del sector público argentino y de otros países, empresas, ONGs, organismos de financiamiento, y organizaciones internacionales.
³ La Coalición de Acción por la Salud del Suelo (CA4SH) fue creada en 2021 en el marco de la Cumbre de Sistemas Alimentarios de Naciones Unidas. Integrada por organizaciones internacionales, asociaciones de productores, ONGs, institutos de investigación, representantes del sector público y privado, tiene el objetivo de mejorar la salud del suelo a nivel mundial al abordar las barreras críticas de implementación, monitoreo, política e inversión pública y privada que limitan la adopción y escalamiento de prácticas saludables en la gestión de los suelos.
Panel en la "Casa de la Agricultura Sostenible de las Américas". De izquierda a derecha: Eduardo Bastos (Minerva Foods), Cecilia Jones (Ministerio de Agricultura, Uruguay), Cristian Feldkamp (CREA), Marcelo Torres (Aapresid).En paralelo con la amplia variedad de mesas redondas y eventos sobre agricultura y sistemas alimentarios, estos temas también tuvieron un rol preponderante en las negociaciones oficiales de alto nivel. Uno de los ejes de discusión estuvo en los avances en torno a la “Labor Conjunta de Koronivia sobre la Agricultura” (KJWA), una decisión histórica adoptada en la COP 23 (Fiji, 2017) en la que se reconoce el potencial único de la agricultura para hacer frente al CC.
Además, en el Día de la Adaptación y la Agricultura se lanzaron dos iniciativas. Por un lado, la Iniciativa FAST (Food and Agriculture for Sustainable Transformation), una alianza multi-actor que buscará mejorar las contribuciones financieras para transformar la agricultura y los sistemas alimentarios hacia el 2030. Con la Organización de las Naciones Unidas para la Alimentación y la Agricultura (FAO) como facilitadora, impulsará
acciones en tres pilares: conocimiento y capacidades, apoyo para políticas y diálogo, y el acceso a la financiación. Por otro lado, la presidencia egipcia de la COP junto con la Organización Mundial de la Salud (OMS), anunciaron la Iniciativa para la Acción Climática y la Nutrición (I-CAN): su objetivo es integrar y conectar acciones que aceleren avances tanto en la acción política de adaptación y mitigación del CC como en la nutrición, para alcanzar resultados bidireccionales y mutuamente beneficiosos.
Por último, en el acuerdo final de la COP -el “Plan de Implementación de Sharm el-Sheikh”se remarcó la centralidad de resguardar la seguridad alimentaria y de acabar con el hambre, y se reconoció la vulnerabilidad de los sistemas alimentarios ante los impactos adversos del CC. También se incluyó un apartado que estableció la decisión titulada “Trabajo conjunto sobre la implementación de la acción climática en agricultura y seguridad alimentaria”, que será la sucesora de Koronivia.
En términos generales, la COP 27 concluyó con ciertos resultados destacables, aunque también con falta de avances concretos en algunos aspectos. Por un lado, se llegó a un acuerdo para crear un fondo con el fin de ayudar a los países vulnerables a lidiar con las pérdidas y los daños causados por los impactos climáticos. No obstante, resta definir cómo ese fondo será administrado y supervisado. También se reafirmaron los compromisos asumidos en el Acuerdo de París de 2015, pero no se definieron nuevas acciones que efectivamente conduzcan a frenar las emisiones. Particularmente en lo referido a agricultura y sistemas alimentarios, está claro que estos temas estuvieron entre los ejes principales de debate, y que llegaron para quedarse. También cabe destacar que en los múltiples
eventos, mesas redondas y conversaciones que tuvieron lugar en la Cumbre resonaron términos como “agricultura climáticamente inteligente”, “agricultura regenerativa”, “soluciones basadas en la naturaleza”. El mundo está poniendo el foco en transicionar hacia modelos productivos con menor impacto ambiental, como parte del esfuerzo hacia la carbono neutralidad. Esto es algo en lo que Aapresid, el agro argentino y muchos de los países en nuestra región, ya tienen un largo camino recorrido. Por ello es central continuar ocupando espacios de participación con audiencia global tales como las COP, para dar a conocer los sistemas productivos basados en siembra directa que implementamos y el impacto que pueden tener en la mitigación del CC si se logra escalar su implementación en otras geografías.
Reiteramos nuestro sincero agradecimiento a John Deere, Bayer, Bioceres, UPL, Cargill y CAFMA, que posibilitaron la participación de Aapresid en la COP 27, llevando la voz del productor con el objetivo de posicionar los sistemas productivos basados en siembra directa y sus beneficios ante una audiencia global.
Consulte las referencias ingresando a www.aapresid.org.ar/blog/revista-aapresid-n-212
Riesgo a la erosión eólica en diferentes sistemas productivos del sur de Córdoba. Un estudio que le puso números al efecto del manejo frente a esta problemática.
Por: J.C. Colazo¹,²; E. Scherger³; R. Torregrossa⁴; C. Álvarez⁵; S. Almirón⁶. ¹ INTA, EEA San Luis. ² UNSL, FICA. ³ Gentos. ⁴ Actividad Privada. ⁵ INTA, AER Gral. Pico. ⁶ AAPRESID, Programa Sist. Chacras
En el extremo sur de la provincia de Córdoba, se desarrolla la Chacra Aapresid Sur de Córdoba que tiene como protagonista al departamento General Roca, el de mayor extensión en la provincia y de una amplia variabilidad edafo-climática.
La Chacra Sur de Córdoba concluyó su primer ciclo de 3 años de trabajo (2019-2022) junto a la participación de instituciones como INTA y el Ministerio de Agricultura y Ganadería de la provincia cordobesa y empresas como Experta-AGD.
Durante su ciclo, se realizó una importante caracterización y diagnóstico del estado actual de la salud de los suelos de la región, provenientes de diferentes sistemas productivos. La finalidad de dicho diagnóstico era brindar una recomendación o estrategia superadora de manejo a los productores en base al valor del indicador medido a campo y su umbral de referencia.
A partir del set de indicadores físicos y químicos realizados, uno de los análisis consistió en evaluar la fracción erosionable por el viento (FE) en diferentes manejos. Este indicador mide el grado
de susceptibilidad o riesgo a la erosión del suelo, problemática de relevancia en la región debido a la predominancia de suelos arenosos, la alta frecuencia de fuertes vientos y la gran variabilidad de las precipitaciones (Cisneros et al., 2015). A estos factores se suma que en los últimos 20 años hubo una simplificación en los sistemas que generó cambios en la dinámica de la cobertura vegetal, incrementado así el riesgo de erosión. Los sistemas ganaderos o mixtos fueron reemplazados por agricultura continua, basados principalmente en cultivos estivales, entre los que el maní tiene una participación importante. Actualmente, debido al incremento en el uso de cultivos de servicio en la región, es posible encontrar un mayor grado de intensificación y diversificación (Bolsa de Cereales, 2020). Sin embargo, a pesar de la importancia de la problemática, no existen estudios que cuantifiquen el efecto del manejo en el riesgo a la erosión eólica en el Sur de Córdoba.
Materiales y métodos
El área de estudio correspondió al departamento General Roca en el Sur de la provincia de Córdoba, donde las precipitaciones varían entre 800 mm en el Oeste a 900 mm en el Este, mientras que la textura de los suelos varía de arenosa – franca a franca en el mismo sentido (Faule et al., 2020). En función de los cambios de la tierra producidos en la región, se seleccionaron los siguientes tratamientos: a) Monte o pastizal natural (P): sin uso agrícola al menos por los últimos 50 años; b) Agrícola sin maní (A0): lotes bajo agricultura permanente durante al menos los últimos 10 años, debiendo contar con dos a tres cultivos invernales de cosecha o servicio (no pastoreados) durante las últimas cinco campañas; c) Agrícola con maní (A1): lotes bajo agricultura permanente durante al menos los últimos 10 años, debiendo presentar durante la última campaña un cultivo de maní; d) Mixto agrícola-ganadero (M): lotes bajo pastura perenne de alfalfa de entre dos y cuatro años, debiendo contar previo a la siembra de alfalfa con cuatro a cinco años de agricultura continua.
Además, para seleccionar los lotes, se tuvo en cuenta la clasificación realizada por Faule et al. (2020) de los macro-ambientes del departamento General Roca: Oeste, Centro y Este. Cada tratamiento estuvo representado por tres unidades de muestreo (lotes). En cada una de ellas se tomaron 3 réplicas, por lo que en total se tomaron 108 muestras (3x3x4x3). El muestreo fue realizado durante el otoño de 2020. Se tomaron muestras sin disturbar de los primeros 2,5 cm de suelo con pala, las cuales fueron almacenadas en bandeja de plástico. Una vez secas al aire, se determinó la fracción erosionable por el viento (FE) como la proporción de agregados menores a 0,84 mm usando un tamiz rotativo (Colazo et al., 2010). También se tomaron con barreno muestras de los primeros 20 cm. En ellas se determinó el contenido de materia orgánica (MO) por oxidación húmeda y la textura por el método de la pipeta. Los valores medios de FE fueron analizados mediante un ANOVA doble con manejo y macro-ambiente como niveles principales. En caso de existir interacción, cada manejo fue comparado dentro de cada macro-ambiente mediante una prueba de comparación de medias. Las relaciones de FE con MO y arena fueron analizadas mediante regresiones lineales simples. Todas las pruebas se realizaron con un nivel de significación del 5% (Di Rienzo et al., 2017).
Resultados y discusión
valor umbral. Estos resultados coinciden con Allochis & Quintana (2016) quienes reportaron mayores valores de FE luego del arrancado de maní, comparado con lotes sin la presencia de este cultivo en la secuencia.
Figura 1. Fracción erosionable por el viento (FE) en función de cuatro manejos: Agricultura sin maní (A0), Agricultura con maní (A1), mixto (M) y prístino (P) en tres macro – ambientes del Sur de Córdoba, a) Oeste, b) Centro y c) Este.
La Figura 2 muestra la relación de FE con MO y arena. El modelo lineal fue el que mejor ajustó la relación entre las mismas. Estos resultados coinciden con los de Dios Herrero et al. (2014) en suelos de textura similar. Existieron diferencias entre las pendientes de A0 y A1. En general, esto significa una mayor FE por una disminución de MO y aumento de arena en suelos con maní y con menor proporción de cultivos de servicio. En suelos con agricultura sin maní, este valor umbral se alcanza con aproximadamente 1% de MO y 70% de arena. En suelos con niveles inferiores de MO o superiores de arena, la estructura del suelo es insuficiente para controlar eficientemente la erosión, y el rol de la cobertura cobra una relevancia fundamental. En el caso de los suelos con maní, estos niveles son de aproximadamente 1,75% de MO y 60% de arena.
Figura 2. Fracción erosionable por el viento (FE) en función de a) materia orgánica (MO) y b) proporción de arena. A0 = Agricultura sin maní, A1= Agricultura con maní, M= mixto y P= prístino. La línea discontinua muestra valores umbrales. Las líneas continuas muestran la relación lineal entre variables para A0 (negro) y A1 (rojo).
El riesgo de erosión eólica es alto en macro-ambiente Oeste, independientemente del manejo, mientras en el Este el riesgo es bajo. En el macroambientes Centro, la agricultura con maní muestra valores de FE por en encima del umbral. En suelos con más del 70% de arena, es necesario el uso de cultivos de servicio para controlar la erosión, mientras que este umbral se reduce a 60% para aquellas secuencias con maní.
La importancia de estos resultados se evidencia en su participación dentro de las publicaciones del XXVIII Congreso Argentino de la Ciencia del Suelo (Colazo et al., 2022).
Estos resultados corresponden a las actividades llevadas a cabo por la Chacra Sur de Córdoba (convenio AAPRESID – INTA). Se agradece a los miembros fundadores de la misma como así también al Gobierno de la provincia de Córdoba por el financiamiento, y a Experta-AGD servicios tecnológicos, por aportar todos los análisis químicos realizados en las muestras de suelo. REFERENCIAS Consulte
La caída en el desempeño de la tecnología enciende las alarmas por posible quiebre de su eficacia. En esta nota, herramientas para cuidarla y ganarle la carrera a la resistencia.
Desde su aprobación en 2012, la soja Bt es una de las herramientas más valiosas dentro del manejo integrado de plagas, facilitando el control de lepidópteros con menor uso de insecticidas. La campaña pasada se confirmó por primera vez en Latinoamérica la existencia de poblaciones de oruga medidora resistentes en soja Bt en Brasil. En nuestro país, algunos productores del norte vienen detectando un cambio de susceptibilidad de la plaga frente a este evento biotecnológico, lo que trae una preocupación más al campo. Con el fin de aclarar este tema, Agenda Aapresid convocó a expertos que compartieron estrategias para cuidar esta tecnología.
Una carrera a contrarreloj: panorama nacional de la soja Bt vs. lepidópteros
Gracias a la biotecnología, la soja Bt tiene la capacidad de sintetizar proteínas tóxicas que le otorgan protección contra: oruga de las leguminosas (Anticarsia gemmatalis), falsa medidora (Chrysodeixis includens), oruga medidora (Rachiplusia nu), oruga bolillera (Helicoverpa gelotopoeon) y barrenador del brote (Crocidosema aporema), entre otras.
“Las encuestas de la Red de Manejo de Plagas de Aapresid (REM) arrojan que la tecnología de resistencia a lepidópteros es adoptada en un 25% de la superficie agropecuaria, concentrándose en el noroeste del país, donde la presión
de lepidópteros es muy elevada y en donde la siembra de sojas Bt llega a superar el 60%”, explicó Eugenia Niccia Gte. del programa.
Las fallas de control detectadas en soja Bt llevaron a la necesidad de aplicar en casi un 4% de los casos, donde se observó daño y supervivencia de plagas supuestamente controlables con esta tecnología. Aunque la resistencia no está científicamente confirmada, no se debe bajar la guardia: si no se toman los recaudos necesarios, la instalación y dispersión de eventuales resistencias, es cuestión de tiempo.
En cultivos Bt, existen cuatro estrategias dentro de las buenas prácticas agrícolas para retrasar resistencias, explicó Augusto Casmuz Estación Experimental Agroindustrial Obispo Colombres (EEAOC).
1- debe ser un evento de alta dosis: la proteína insecticida responsable del control debe expresarse en concentraciones superiores al 25% para matar al menos al 99% de los individuos susceptibles”. Además de su expresión, también es importante la combinación de eventos. Hasta la campaña pasada, sólo estaba disponible la protección a través de la proteína Cry1Ac en variedades de soja Intacta RR2 PRO. Hoy, Conkesta Enlist ‘apila’ a este evento la proteí-
na Cry1F, logrando un control más eficiente.
2- adopción y buen manejo de refugios: la misma encuesta de la REM revela que sólo 39% de quienes usan refugio lo hace siguiendo las recomendaciones de distancia, proporciones y manejo. Ver recomendaciones en apartado.
3- monitoreode la resistencia, para ver cómo va evolucionando la susceptibilidad de poblaciones blanco. “Tenemos que fortalecer el buen uso de estas tecnologías para no perderlas. Es un camino de trabajo en conjunto entre los actores involucrados: ciencia, instituciones educativas, asociaciones, productores, asesores, empresas y semilleros”, cerraron los referentes.
La fórmula perfecta para retrasar la aparición de resistencias
¿Cómo hacer correctamente un refugio?
Superficie: Al momento de sembrar soja Bt, se deberá destinar una porción de un 20% para sembrar una variedad de soja no Bt, de características equiparables al cultivar que sí tiene el evento. Se podrá utilizar cualquier variedad no Bt (puede ser RR). Se deberá prevenir la mezcla de semillas Bt con las del refugio (no Bt) en la cosecha, dado que la siembra de semilla mezclada puede acelerar la aparición de resistencia.
Distancia: se deberá ubicar cerca o contiguo pero a no más de 1200 metros de la variedad Bt. Se admiten distintas configuraciones (ver figura), siempre y cuando se respete la superficie mínima y la distancia entre las plantas Bt y no Bt más alejadas.
Aplicaciones: es fundamental la adopción de buenas prácticas agrícolas, incluyendo un monitoreo frecuente en los cultivos y criterios de aplicación en base a umbral. No deberán utilizarse insecticidas a base de Bt en el área de refugio. Se recomienda que el control no sea demasiado contundente, de manera tal que puedan sobrevivir algunos individuos susceptibles. Esto permitiría mantener una fuente de variación genética para que, de darse la resistencia, no pueda dejar descendencia y prosperar en la población.
Las últimas campañas dejaron enseñanzas para anticiparnos a estas diminutas pero dañinas plagas. Con el diario del lunes, Agenda Aapresid trae estrategias para su manejo en soja.
Trips y arañuelas son plagas biológicamente muy distintas, pero que tienen mucho en común: las condiciones de sequía y altas temperaturas son caldo de cultivo ideal para ambas. Si no se controlan a tiempo, pueden llegar a provocar daños irreversibles sobre la oleaginosa. Arrancando el tercer año Niña ¿qué estrategias aprendimos para mantenerlas a raya en el cultivo de soja? Fernando Flores (INTA Marcos Juárez) y David Piola (Asesor AFA) llevaron recomendaciones al ciclo diario de entrevistas Agenda Aapresid.
Para aprender a manejarlas, se hace preciso conocer su nicho y comportamiento, remarcaron los especialistas. Las arañuelas son arácnidos que suelen expresarse mayormente en estadío vegetativo en zonas de mayor estrés donde no ha cerrado el entresurco, por ejemplo en cultivos sobre lomas arenosas. En cuanto a los trips, aunque pueden tener aparición temprana, el momento de mayor daño se da en estadíos reproductivos entre R3 y R5
El mayor problema es que son plagas silenciosas y su ciclo es muy dinámico, con nuevas camadas cada 12 o 15 días. En los inicios los ataques se concentran en los estratos inferiores de las plantas y son muy difíciles de detectar. “Entonces los controles llegan tarde, cuando la plaga ya se encuentra más visible y en estratos superiores”, agregó el asesor de AFA.
La depresión sobre el rendimiento puede alcanzar los 1000 kg/ha. La magnitud de las pérdidas estarán en función del grupo de madurez del cultivo y la variedad, la densidad poblacional y la condición hídrica.
Daño típico de arañuela roja en soja. La plaga puede alcanzar estratos superiores en un abrir y cerrar de ojos. Foto: Esteban Bilbao, Regional Necochea Aapresid.
Ambas plagas pueden estar presentes desde temprano y a lo largo de todo el ciclo. Es importante intensificar y mantener el monitoreo constante para detectar su presencia antes de que sea tarde y para adelantarse ante la necesidad de control, si fuera necesario. Es importante incluir en el monitoreo malezas, vegetación de borduras, caminos, cunetas y alambrados.
Su cuantificación visual se debe hacer con ayuda de una lupa, idealmente en horarios de no tan alta insolación y temperatura, porque los adultos de trips tienden a volarse rápidamente. La sola presencia de un trip por foliolo da
la pauta para actuar rápidamente. Su presencia da cuenta de la magnitud de la infección a nivel de ninfas, las que usualmente se refugian en el envés de las hojas y generan la mayor parte de los daños.
Por su parte, arañuela es un tanto más fácil de observar porque todo su ciclo lo hace sobre las hojas y da una explosión poblacional muy fuerte, explicaron. Para su monitoreo se recomienda mirar la parte inferior del canopeo o el envés de las hojas, además de evaluar la presencia de telas
Ante la sola presencia de las plagas en estadío vegetativo, si se espera baja humedad relativa ambiental y estrés hídrico para las próximas semanas, hay que actuar rápidamente con aplicaciones preventivas con productos que den persistencia. El control temprano hace la diferencia, ya que si suben los estratos superiores el daño será muy grande e irreversible, remarcó Piola. En el caso de arañuela, una vez que esta formó la tela, es infranqueable y los productos no podrán atravesarla, complicando mucho más su control.
En lo que respecta a principios activos, según los referentes abamectina está dando muy buenos resultados en las últimas campañas.
Por el contrario, indicaron ser cuidadosos con los piretroides, porque el control no puede ser no tan favorable, y contrariamente, podemos estar fomentando el ciclo reproductivo de la arañuela. Por su parte, los IGR y spinosinas pueden andar muy bien para achicar la población de trips.
En suma, es una campaña en la cual el monitoreo constante va a ser fundamental para adelantarse y proteger el rendimiento. Sobre todo estar muy encima desde la etapa vegetativa poniendo especial ojo en sojas de ciclos cortos, organizando bien las tareas de aplicación para llegar a tiempo, señalaron.
Superficie tratada contra trips y arañuela en la campaña 19/20 de soja, alcanzando casi un 90% de los lotes en algunos departamentos. Fuente: mapa de insectos de la Red de Manejo de Plagas de Aapresid (REM)
Información para la toma de decisiones que el productor necesita, cuando la necesita.
Entrevistas en un formato ágil Acceso libre y gratuito
Experiencias en primera persona Debate en vivo Distintas zonas agroecológicas Contenido técnico
¿Todavía no te sumaste? ¡Te vamos a estar esperando! www.aapresid.org.ar/eventos
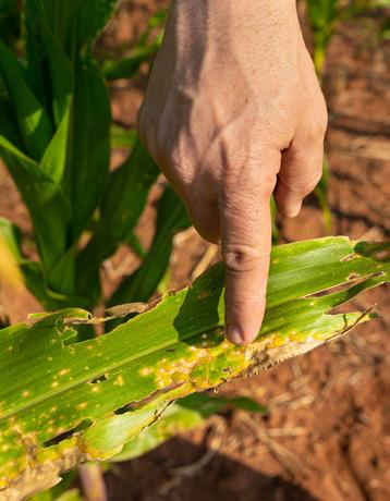
De norte a sur y de esta a oeste, derribamos este mito. Descubrí las claves para manejar las enfermedades en maíz y no distraer los recursos necesarios para construir el preciado rendimiento.
Aún en contextos de sequía, las enfermedades son un factor que no debemos dejar de monitorear y atender. En tres encuentros de Agenda Aapresid, referentes de distintos puntos del país dieron un pantallazo general de la intención de siembra de maíz considerando la situación actual. Además, repasaron los principales patógenos que afectan al cultivo y listaron varios “tips” para su manejo con el fin de achicar brechas de rendimiento, maximizar la eficiencia del sistema y seguir siendo sostenibles.
Aunque no las veamos…las enfermedades siempre están
Enmarcando esta campaña tan particular, Matías Guerrero (Asesor Privado del NEA) y Daniel Gamboa (EEAOC- NOA) concordaron que la situación es crítica por la falta de agua. “Ya llevamos 3 campañas con déficit hídrico y con cultivos de invierno muy castigados por la sequía. No obstante, los productores ya tienen todo preparado para arrancar la siembra cuando se den las precipitaciones. Esperamos que Dios se acuerde de nosotros y nos abra un poco la canilla”, expresó Gamboa. Con optimismo, Guerrero comentó que en su zona todavía falta un mes para comenzar a sembrar maíz y espera que en ese tiempo los perfiles se recarguen.
¿Qué pasa con la intensidad de las enfermedades?
Desbaratando la creencia que en el norte no hay enfermedades, ambos especialistas plantearon las que más inciden en el cultivo de maíz y brindaron recomendaciones para su manejo.
Según manifestó Guerrero, las enfermedades más comunes en el NEA son Roya de la hoja y Tizón foliar. Dependiendo de los híbridos, su incidencia no es tan elevada como para comprometer el rendimiento. En los maíces tardíos (noviembre, diciembre y enero) suele aparecer Cercospora y patógenos que afectan a los granos.
Yendo al NOA, Gamboa expresó “Le damos al híbrido toda la responsabilidad frente a las enfermedades. Hay una pérdida de rendimiento encubierto que no sabemos cuánto es. Los productores dicen que no es tan importante, y yo no estoy tan seguro. Estamos usando sangre sensible a muchas enfermedades”
El Técnico de la EEAOC subrayó que hay una tropicalización de los ambientes, y las enfermedades están ahí esperando para que se den las condiciones y resurgir. Por lo tanto, recomendó tener mucho cuidado y monitorear los lotes, porque si nos dejamos estar, muchas veces llegamos tarde para enfrentar el problema.
Spiroplasma (Spiroplasma kunkelii) merece un capítulo aparte. Esta enfermedad afecta tanto al NOA como al NEA, generando gran preocupación en el norte argentino por las importantes pérdidas de rendimiento. Produce achaparramiento en maíz y es transmitida por la chicharrita Dalbulus maidis que actúa como vector.
“El tema con esta enfermedad es que, cuando ves los síntomas, ya estás viendo el final de la película, que nunca es bueno. En el NEA lo primordial es controlar el vector al principio, es la parte clave”, disparó Guerrero. El asesor indicó que Dalbulus se aloja en el rastrojo y el maíz guacho, y allí es donde comienza a
aumentar su población, por eso es importante rotar maíz y mantener los lotes limpios. Por otro lado, manifestó que actualmente no hay productos químicos disponibles para el control de la enfermedad.
Gamboa señaló que, con la aparición de los maíces transgénicos, se redujeron las aplicaciones de insecticidas que de rebote controlaban el vector. Luego agregó “Los híbridos tropicales toleran más este tipo de enfermedades, y hoy tenemos materiales templados y muchas mezclas que son más sensibles. Hoy no tenemos una gran ayuda desde la genética. Por lo tanto, hay que monitorear los lotes desde muy temprano, porque el vector comienza a afectar cuando las plantas son muy pequeñas. La capacitación es
fundamental para que los monitoreadores la detecten. Si Dalbulus está, ya picó a la planta y se traduce en pérdidas de rendimiento”.
Seguidamente, reveló que los síntomas de la enfermedad están enmascarados con otras patologías que son muy parecidas, y cuando se detecta en el cultivo ya no hay nada más que hacer. “Esta plaga es endémica de nuestra zona. En Pampa del Infierno el ataque es muy importante, en el NOA los valores son más pequeños, pero en años severos y con materiales susceptibles, se han registrado pérdidas del 100%. Estamos evaluando prevenir desde semillas mediante el curado”, sumó el Técnico de la EEAOC.
Ambos técnicos coincidieron en que el manejo integral de plagas es la llave para ser sustentables y ganar eficiencia en el sistema. A continuación, se listan las principales recomendaciones:
Elección del híbrido: “Esta es una de las patas para el manejo de enfermedades, sabemos que hay algunos materiales más tolerantes que otros a distintos patógenos”, resaltó el Asesor del NEA.
Abonando lo anterior, Gamboa explicó que la EEAOC evalúa todos los años los híbridos disponibles en el mercado para ver su comporta-
miento y generar información para la región.
Fungicidas: Conscientes que debe ser una práctica más habitual entre los productores, los especialistas recomendaron aplicar triazoles con estrobirulinas. Pensando en la sustentabilidad del sistema, Guerrero expuso “El beneficio de aplicar fungicidas, no sólo debería verse en el extra de rendimiento que paga el costo del producto y la pulverización, sino que se debe contemplar también la calidad del rastrojo que se deja”.
El manejo integral de plagas es la llave para ser sustentables y ganar eficiencia en el sistema
Estrategias de manejo para controlar enfermedades y achicar las brechas de rendimiento
Rotación de cultivos: Considerando la importancia de este punto, el Asesor disparó “Vemos en el NEA muchas explotaciones que incluyen maíz en un 50% a 60% de la rotación. Por lo tanto, año por medio los lotes tienen maíz, ejerciendo una gran presión de selección, y aporte de inóculo de distintas enfermedades”.
Para Spiroplasma, controlar el vector desde el principio, mantener los lotes libres de maíz espontáneo.
Reforzando las estrategias anteriores, el Técnico de la EEAOC agregó “La elección de los híbridos y el uso de fungicidas es muy importante, aún en estos años secos. Cuando sabemos que algún material tiene cierta susceptibilidad a enfermedades, la recomendación es tener una dosis de fungicida guardada porque puede ser necesaria”.
Como comentario final, Daniel Gamboa reflexionó “Las herramientas están, hay que saber usarlas y en qué momento para que nos de diferencias en kilos. Es una campaña en la que hay que estar muy atentos y preparados con todos los insumos”. En cuanto a lo hídrico, concluyó “Es un año difícil que habrá que pelear al centímetro, el que ha controlado malezas sabrá que tendrá más milímetros para maíz. En el norte Aapresid fue una bendición porque nos ha enseñado a ahorrar agua que es lo que nos falta casi siempre. Los cultivos alternativos andan muy bien, el cambio de paradigma es
¿Cuál será la Intención de siembra de maíz de 2°?
Bajando un poco en el mapa, y yendo de lo general a lo particular, Lucas Grajales (ATR Regional Rosario Aapresid) planteó que, según la última estimación de la Bolsa de Cereales de Bs AS, se avanzó un 25% en la intención de siembra de maíz sobre una superficie de 7,3 millones de hectáreas. Frente a ese escenario, cuestionó “La pregunta que surge es si los 5 millones de Has que faltan van a pasar a maíz tardío o soja. Tengamos en cuenta que, por
sesgo intuitivo, esto podría inclinar la balanza hacia la leguminosa”. Por otro lado, comentó “El spread de precios entre la posición marzo -abril vs julio está en torno a los U$S 25. Si los 5 millones de Has se siembran con maíz tardío, es posible que ese spread aumente. Si esto se llega a dar, habrá que hacer muy bien los números para definir si esa superficie va a soja 2° o maíz tardío”.
Cruzando lo anterior con la variable climática, el técnico vaticinó “Los meteorólogos coinciden que hacia febrero se darán las precipitaciones y el año va a tornarse a neutro, esta expectativa puede ser un incentivo para los cultivos tardíos de soja y maíz”
Analizando cómo viene el trigo y su impacto en la gruesa, el ATR de la Regional Rosario explicó “El 12, 4% de la superficie triguera ya está cosechada y va a ir avanzando, con una productividad muy por debajo de lo que estábamos acostumbrados, según la BCBA el promedio nacional está en 13,5qq/Ha. Con esta evolución, la soja de 2° se va a estar sembrando casi como una soja de 1°, achicando las brechas de rendimiento entre 1° y 2°, siendo menor en los últimos 5 años. En lo personal creo que, si no llega a llover a fines de noviembre- principios de diciembre, mucho maíz de 2° va a pasar a soja de 2°” .
Haciendo referencia al 25% del maíz que se sembró temprano, Grajales manifestó que hubo una segmentación de fechas de implantación, distribuidas entre el 10/15 de septiembre al 15 de octubre. No obstante, otra parte se sembró fuera de la ventana óptima, extendiéndose a principios de noviembre. En ese sentido advirtió “Esto puede afectar cuando caiga el período crítico”. También reconoció que, para el mes de enero, se esperan temperaturas máximas que rondarán los 35°C promedio, complicando aún más la situación.
Principales enfermedades que afectan en la zona
Reforzando la importancia del control químico, Grajales declaró “En año niña no lo tenemos evaluado, pero si probado. Todos los maíces que recibieron una aplicación de fungicida foliar rindieron más, presentaron menor estrés térmico e hídrico y menor quebrado de caña. En algunos lotes probamos aplicar fungicidas foliares con bioestimulantes, y se tradujo en mayor rendimiento”. Añadió que, la Regional Rosario de Aapresid, está lanzando una Red de ensayos de fungicidas en maíz temprano y tardío para generar más información.
Otra enfermedad con la que hay que tener ojo es el Carbón de la panoja “Lucrecia Couretot registró en Chañar Ladeado un 60% de pérdida de rendimiento. Hasta hace 2 campañas esta enfermedad no estaba presente y los semilleros no están del todo preparados”, advirtió. Explicó que la infección de esta enfermedad se da cuando hay temperaturas frescas durante el período de implantación, y es lo que ocurrió en el mes de septiembre pasado. Para tratarla se usan terápicos de semillas, pero en Argentina no están disponibles.
Antes de cerrar, Lucas Grajales planteó estrategias de manejo para evitar y/o retrasar cualquier evento de resistencia de enfermedades en maíz:
De lleno en las enfermedades, el ATR marcó estar atentos a la Roya común y seguir de cerca a Roya Polisora y Tizón foliar en los maíces tardíos. Para lo cual, recomendó elegir muy bien la genética de los híbridos y evaluar el momento y aplicación de fungicidas.
Rotación de principios activos con distintos modos de acción
Maíces tardíos, los favoritos
Desde el sur cordobés, la Ing. Alejandra Céliz (BASF) comentó que en la región preponderan las fechas de siembra tardías (80%) y sólo una pequeña porción de la superficie se destina a maíz temprano (20%).
¿Y
andamos?
Al igual que en las regiones anteriores, la Ingeniera nombró Roya de la hoja y Tizón foliar como las enfermedades de maíz más frecuentes en la zona. Al respecto explicó:
Roya de la hoja aparece en los estadios tempranos del maíz y luego prolifera dependiendo de las condiciones del cultivo y cuestiones climáticas. “En estas 2 últimas campañas, que se han caracterizado por año seco, Roya siempre se ve”, advirtió Céliz. Alertó que esta enfermedad siempre está presente, independientemente que sea un año seco o no. Por lo tanto, recomendó monitorear desde temprano para diagnosticar la situación.
A diferencia del anterior, Tizón foliar del maíz surge en los estados más avanzados y/o reproductivos. “La presión de Tizón es mayor en el norte de la Provincia de Córdoba y en el sur es más esporádico, no obstante, en los últimos años se ha comenzado a escuchar algún tratamiento más para su control”, puntualizó.
Tecnología de insumos para el manejo de enfermedades en maíz
El control químico es uno de los pilares fundamentales para el manejo de patógenos. Para minimizar el impacto de los hongos que afectan al maíz y potenciar su rendimiento, la Ingeniera disparó “La estrategia que recomendamos desde BASF es aplicar fungicidas foliares” Profundizando en el tema, dio detalles de los 2 fungicidas foliares que la compañía:
OPERA. Este producto está constituido por una doble mezcla entre una estrobiruliana y un triazol, con la particularidad que la estrobilurina de BASF ingresa de manera rápida y comienza a cumplir su función de manera inmediata, favoreciendo la prevención de las enfermedades. Indicó que la estrobirulina, además, aporta efectos fisiológicos sobre la planta, manteniendo las hojas verdes por más tiempo, reduciendo la producción de etileno y asegura la provisión de fotoasimilados hasta el momento de llenado de granos; también fortalece la caña, reduciendo el riesgo de quebrado o vuelco.
Dosis recomendada para esta formulación: 750cc/ha.
ORQUESTA ULTRA. Este fungicida es una triple mezcla, a la estrobiruliana y al triazol se incorpora una carboxamida. Este último, tiene un diseño molecular que permite el rápido ingreso del producto a la planta. Otro atributo del producto es que tiene 3 sitios de acción diferentes lo cual mejora la posibilidad de control. Sumando cualidades de la formulación, la representante de la empresa agregó “ORQUESTA ULTRA tiene mayor concentración de triazol y eso hace que podamos controlar mejor en los años cuando hay mayor presión de enfermedades”
Dosis recomendada: 1,2 Lt/ha.
¿Cómo prevenimos o atrasamos la tasa de resistencia?
Abordando un tema no menor, Céliz remarcó “La estrategia de BASF es que los fungicidas cuenten con dos o más principios activos que actúen en distintos sitios de acción. Ahí minimizas el riesgo de resistencia a enfermedades. Además, durante el desarrollo del fungicida, en etapas de investigación, se detecta la dosis óptima para evitar subdosis que favorecen la resistencia”.
Concluyendo su participación en Agenda Aapresid, Alejandra Céliz finalizó “Hace 5 años que evaluamos fungicidas en maíz en distintas localidades con un muy alto nivel de respuesta (500 kg/ha promedio) en diferentes materiales y ambientes. El maíz es un cultivo que siempre tiene respuestas positivas a la aplicación de fungicidas foliares” .
Agenda Aapresid:
Con su estreno diario, a las 19 hs desde la plataforma de streaming Aapresid Comunidad Digital, Agenda Aapresid acompaña la toma de decisiones del productor con información que hace rendir la campaña.
También está disponible en formato compacto en:
Somos Rosario: sábados 19.30 hs por canal 7 de Rosario y canal 520 de Flow Box y Flow App, en el resto del país.
Lago Visión: miércoles 20 hs, por Canal 10 de Guaminí.
Fortín Mulitas: jueves 21 hs, por Canal 3 de 25 de Mayo.
El manejo integrado para el control del pulgón amarillo (Melanaphis sacchari) comienza en la elección de la semilla. El sorgo Aphix de Advanta permite combatir esta plaga desde la semilla.
Por Gaspar Sánchez Cores Responsable decontenidos para Advanta Semillas
Melanaphis sacchari, conocido cómo pulgón amarillo o pulgón de la caña de azúcar, es considerado una plaga clave en el cultivo de sorgo ya que tiene altísimas tasas de reproducción y potencial destructivo para el cultivo (Singh, 2004) (Figura 1).
El pulgón de la caña de azúcar se alimenta de la savia que la planta necesita para su desarrollo. Producto de la alimentación, estos áfidos causan decoloraciones de las hojas que tienden a un color amarillo a rojo o marrón en ambos lados (Knutson et al., 2016). Durante la etapa de desarrollo del grano, el pulgón puede generar pérdidas significativas, causando un estrés en la planta, reduciendo el rendimiento y atrofiando el crecimiento (Figura 2).
Infestaciones intensas durante el llenado del grano disminuyen los rendimientos al reducir el tamaño y peso del grano (Knutson et al., 2016).
A medida que el pulgón se alimenta, produce grandes cantidades de melaza, lo que hace que las hojas se vuelvan pegajosas y brillantes.
La melaza también puede favorecer al crecimiento de un hongo negro denominado fumagina. Este hongo disminuye la intercepción de la luz solar y reduce la capacidad de la planta para producir azúcares a través de la fotosíntesis, Además, una abundante melaza puede incrementar los tiempos de cosecha (Knutson et al., 2016).
Aphix, nuestro aporte para el manejo integrado del pulgón amarillo
Desde hace más de 40 años, Advanta cuenta con un programa de investigación y desarrollo en el cultivo de sorgo. Esta confianza y apuesta al cultivo, hoy nos permite seguir avanzando con la llegada de Aphix ®, la tecnología para el manejo integrado del pulgón amarillo de la caña de azúcar (Melanaphis sacchari).
Respaldada por los esfuerzos en la selección genética de híbridos con adaptación local, Aphix ® suma la máxima tolerancia al pulgón amarillo, logrando disminuir el riesgo de pérdidas, y manteniendo el potencial y estabilidad de rendimiento que tanto caracteriza a los híbridos de Advanta (Figura 3).
Aphix® limita la proliferación del pulgón amarrillo en el cultivo e impide que se reproduzca fácilmente.
La herramienta clave y en la que se resume el principal beneficio:
Ampliar la ventana óptima de aplicación y/o reducir el número de aplicaciones de insecticidas.
Los beneficios del sorgo con tecnología Aphix: Tolera los máximos niveles de infestación.
Disminuye la tasa de reproducción de la plaga.
Permite disminuir el uso de insecticidas.
Ampliar la ventana de aplicación.
Aumenta el tiempo para la toma de decisiones.
Figura 3. Izquierda: híbrido Aphix® / Derecha: híbrido convencional.Durante la campaña 2021/22, desde Advanta, en colaboración con el INTA Reconquista, se evaluaron diferentes híbridos de sorgo con el objetivo de conocer la fluctuación temporal del pulgón amarillo, su incidencia y su relación con el rendimiento alcanzado (Figura 4).
Figura 4. Fluctuación poblacional de pulgones (número medio de pulgones por hoja) durante el transcurso del ensayo en los diferentes híbridos evaluados. A: Estrato inferior. B: Estrato superior. INTA Reconquista – Campaña 2021/22.
Entre los resultados, se observó menor abundancia de pulgón amarillo en el híbrido ADV 1202 AX con tecnología Aphix hacia fin de ciclo del cultivo. Respecto al rendimiento logrado, se observaron diferencias estadísticamente significativas entre híbridos, siendo el híbrido ADV 1202 AX el que más rendimiento logró. En cuanto al peso de 1.000 granos, el híbrido ADV 1202 AX se diferenció significativamente de los demás (Figura 5).
Figura 5. Componentes de rendimiento de los híbridos de sorgo evaluados. A: Rendimiento (kg/ha). B: Peso de 1000 granos (g). Letras indican diferencias significativas entre tratamientos, barras verticales indican error estándar. INTA Reconquista - Campaña 2021/22.
Los tres pilares que garantizan su efectividad son:
1. Selección asistida por marcadores moleculares: Advanta desarrolló herramientas biotecnológicas (marcadores moleculares) para la caracterización de híbridos de sorgo tolerantes al pulgón amarillo de la caña de azúcar. Este desarrollo fue realizado por el centro de biotecnología de Advanta en Estados Unidos en conjunto con los equipos de mejoramiento del cultivo en distintos países. Actualmente, los programas de mejoramiento pueden identificar plantas o semillas de híbridos que tienen tolerancia al áfido sin necesidad de evaluarlos a campo, sino solo con el uso de la herramienta biotecnológica.
2. Performance en regiones endémicas de la plaga: Para ser considerado Aphix, el híbrido es puesto a prueba en zonas con alta presión de pulgón amarillo, debiendo reflejar un excelente comportamiento a la plaga en todas las etapas fenológicas y destacarse, logrando un alto rendimiento en grano.
3. Evaluaciones de tolerancia realizadas por terceros: De la mano de reconocidas instituciones externas, se realizan evaluaciones en diferentes estadios de desarrollo y crecimiento bajo metodologías estandarizadas. Los resultados de estas evaluaciones sirven para validar y confirmar la alta tolerancia de los híbridos de sorgo Advanta antes de salir al mercado.
¿Cómo se desarrolla y respalda la tecnología Aphix ®?
Desde Advanta recomendamos diversas prácticas agronómicas para el manejo integrado de la plaga (Figura 6):
¡MONITOREO TEMPRANO Y CON FRECUENCIA! Imprescindible debido a la explosiva tasa de reproducción del pulgón.
CONTROLAR SORGO DE ALEPO EN BARBECHO De lo contrario, actuará como hospedante de la plaga.
TRATAMIENTO DE SEMILLA Los tratamientos de semilla demostraron proteger la plántula cuando se presentan infecciones con altas poblaciones de pulgón en estadíos tempranos, que puedan causar muerte de plantas y/o pérdidas a nivel de lote.
APHIX Sembrar híbridos con comprobada tolerancia al pulgón.
Utilizar los insecticidas recomendados tan pronto se alcance el umbral de acción. Garantizar las condiciones ambientales adecuadas, un alto número de impactos por cm2, volumen y uniformidad de aplicación.
Figura 6. Claves para el manejo integrado del pulgón amarillo. REFERENCIAS Consulte las referencias ingresando a www.aapresid.org.ar/blog/revista-aapresid-n-212
Los problemas de deriva durante la pulverización se convirtieron en una de las principales amenazas para cultivos sensibles como el algodón. En esta nota, las claves para prevenirlo.
La aplicación de fitosanitarios es el proceso de depositar un principio activo o producto fitosanitario en un blanco que, de acuerdo al objetivo de control, puede ser una maleza, insecto o enfermedad.
La pulverización es el método más difundido para las aplicaciones agrícolas y consiste en diluir, suspender o emulsionar los principios activos en un líquido, normalmente agua, y así formar un caldo para su aplicación. Este caldo pasa luego a cierta presión por un circuito y al atravesar el pico o boquilla de aspersión, se transforma en gotas. Una aplicación efectiva o de calidad dependerá del número de gotas que
alcanzan el blanco, la homogeneidad de cobertura y la persistencia de la gota en las hojas.
La aplicación de fitosanitarios constituye uno de los eslabones fundamentales de la cadena de eventos de la producción agrícola. Sin embargo, se trata de un proceso complejo, en el que interactúan factores múltiples y variados que determinan el éxito o no en el control. Muchas veces se considera que la aplicación de fitosanitarios es el proceso más ineficiente de un sistema productivo. Cuando se habla de problemas en el control es común culpar al producto o apuntar a un incremento en la resis-
tencia de las plagas. Sin embargo, se demostró que los resultados en el control dependen principalmente de la eficiencia de la aplicación. La eficiencia se puede definir como la capacidad de que el caldo que está en el tanque del equipo, y que se transforma en gotas, llegue al objetivo de aplicación.
Una de las consecuencias más críticas que pueden traer aparejadas las fallas en la aplicación es la “deriva”. Esto ocurre cuando el producto fitosanitario aplicado no logra alcanzar el blanco y es desplazado fuera del objetivo de tratamiento. La deriva de productos es un
problema de suma gravedad principalmente cuando afecta a cultivos sensibles vecinos. Los daños causados por deriva de herbicidas como el 2,4-D y otros hormonales ha sido un gran conflicto a lo largo de los años para cultivos sensibles como tomate, vid, papa, girasol, maní, o algodón, y en el último tiempo se intensificó.
Durante la última campaña agrícola, el incremento de la superficie sembrada con soja resistente a 2,4-D, las condiciones ambientales de altas temperaturas y sequías, y la gran sensibilidad del algodón ante los herbicidas hormonales, generaron un escenario complejo para
los productores de este cultivo en Santiago del Estero. El grado de daño va desde afecciones foliares bajas a daños irreversibles, dependiendo de la cantidad de herbicida que llega a la planta y la etapa de desarrollo en la que se encuentra el cultivo.
De frente a esta gran problemática, el ingeniero agrónomo (Msc.) Pedro Platz, especialista en calidad de aplicación, que se desarrolla como asesor privado y docente en la Cátedra de Mecanización Agrícola de la Facultad de Agronomía de Balcarce, habló con la Red de Manejo de Plagas (REM) de Aapresid para sumar toda la información necesaria que ayude a lograr una aplicación de calidad y evite los efectos negativos causados por la deriva de productos.
Los daños causados por deriva de herbicidas como el 2,4-D y otros hormonales ha sido un gran conflicto a lo largo de los años para cultivos sensibles como tomate, vid, papa, girasol, maní, o algodón, y en el último tiempo se intensificó.
“Para lograr una aplicación de calidad, el proceso comienza mucho antes de realizar la aplicación”, explicó el ingeniero. El primer paso siempre es la planificación, es decir, realizar el diseño o definir la rotación de cultivos que se va a hacer. El segundo paso es recopilar toda la información sobre los antecedentes de malezas y, en lo posible, su geoposición dentro del lote. “Si
decidimos sembrar un cultivo resistente a ciertos tipos de moléculas o formulaciones, ya estamos planificando qué queremos hacer. Entonces un buen manejo comienza en la planificación y para esto es clave el monitoreo. Debemos recorrer el lote cada 7 o 10 días, sobre todo en esta época, cuando las temperaturas y la humedad aumentan, ya que las condiciones de germinación y desarrollo de las malezas se aceleran, y la situación del lote cambia rápidamente”.
Por su parte, el especialista remarcó que las pérdidas por deriva pueden ser de tres tipos diferentes y esto estará íntimamente relacionado con el tamaño de gotas. Así, cuando las gotas son muy pequeñas (menores a 150-180 micrones), el líquido pulverizado puede desplazarse fuera del cultivo o lugar de aplicación, ante todo por la acción del viento, lo que se conoce como exoderiva. Por otro lado, estas gotas pequeñas son muy susceptibles a la evaporación y volatilización ante condiciones ambientales de elevadas temperaturas y baja humedad relativa. Este proceso se denomina termoderiva. Finalmente, la endoderiva se refiere a la pérdida o desplazamiento de las gotas dentro del cultivo,
cercano al objetivo de aplicación. Esto ocurre cuando el tamaño de la gota es demasiado grande, entonces las gotas se escurren, rebotan y caen al suelo o impactan directamente sobre el mismo, sin quedar en el blanco.
A la exoderiva y endoderiva se las llama también derivas primarias ya que ocurren en el momento de la aplicación. Siempre existe un riesgo potencial de que alguna gota se desplace fuera de la zona de aplicación y, en la mayoría de los productos, la deriva primaria es la más problemática. Sin embargo, puede controlarse con algunas consideraciones y haciendo modificaciones al momento de la aplicación. Por otro lado, la volatilización ocurre después de la aplicación de los herbicidas y las variables que afectan el movimiento secundario son mucho más difíciles de controlar.
Para reducir estos desplazamientos indeseados, será fundamental tener en cuenta las condiciones ambientales al momento de la aplicación. “Se considera que temperaturas superiores a 30 °C, humedad relativa menor al 20% y velocidad de los vientos por encima de 18 km/h, cons-
tituyen una ventana de condiciones en la que el riesgo de deriva es mayor”, apuntó Platz. La temperatura y humedad estarán incluidas dentro de lo que se denomina Delta T (ΔT) o Delta Temperatura. Este parámetro es un estimador confiable y eficiente de la cantidad de vapor que la atmósfera puede absorber a una temperatura dada. Valores de ΔT por debajo de 2, aumentan la flotabilidad de las gotas y por consiguiente el riesgo de deriva primaria, mientras que valores por encima de 8 (mayores temperaturas y bajas humedades relativas) aumentan el riesgo de deriva secundaria. “Entonces, la situación óptima para una buena aplicación ocurre cuando tenemos valores de ΔT entre 2 y 8 y velocidad de viento entre 5-18 km/h”, resumió Pedro y agregó que también hay que tener en cuenta la dirección de aplicación.
Otro de los aspectos principales que se puede regular para reducir el riesgo de deriva es el tamaño de gotas. “Buscamos gotas óptimas entre 200-250 micrones y 350-400 micrones”, explicó Platz. El tamaño de las gotas normalmente estará dado por el tipo de boquilla utilizado y la presión de trabajo. Ante condiciones ambienta-
les desfavorables, como vientos fuertes (entre 15-18 km/h), una estrategia sería usar boquillas de aire inducido y reducir la presión de trabajo, lo que dará lugar a gotas más gruesas y ayudará a que no se transporten con el viento.
La altura del barral de aplicación es otro punto a considerar. Una altura del botalón lo más cercana posible al objetivo permite que los abanicos de distribución del líquido logren la superposición mínima necesaria. Esto también se relaciona con el ángulo de la boquilla: a mayor ángulo, es posible trabajar a menor altura. “Finalmente, la cuarta pata de esta mesa sería la velocidad de aplicación'', concluyó Pedro y remarcó que ante estas condiciones es importante reducir la velocidad de aplicación.
“Un punto importante pero que se practica poco es la evaluación de la calidad de aplicación”, destacó el especialista. La única manera para medir el tamaño de la gota y saber si la misma está llegando al blanco es utilizar tarjetas hidrosensibles, y para esto es necesario que el ingeniero esté presente al momento de la aplicación. Las tarjetas se colocarán en aquellos lugares en los que se quiera llegar con las gotas y luego, con el uso de aplicaciones de celular, es posible analizar esas tarjetas y extraer datos de interés como la cantidad de gotas/cm2 y diámetro promedio de gotas.
El tamaño de la maleza también afectará la eficiencia de aplicación, lo que a su vez se relaciona con la dosis y la forma en que se aplicará el producto. Por ejemplo, si la maleza tiene una determinada altura, habrá que usar boquillas que ingresen por todos los ángulos y lleguen a los distintos puntos de crecimiento de la maleza. Esto a su vez estará relacionado con la velocidad de aplicación, ya que ante mayor velocidad, probablemente las gotas no cubrirán completamente el blanco.
El uso de aditivos, como productos adherentes o coadyuvantes, que logran romper la gota y esparcirla en la hoja es otro punto importante para evitar las pérdidas por gotas demasiado gruesas que rebotan y caen al suelo. Los aceites previenen o retardan la evaporación de la gota. Entonces, por un lado, estos productos ayudan a lograr un tamaño de gota óptimo y, por el otro, protegen a esa gota para que no se pierda por evaporación y aceleran la penetración de los activos en el objetivo.
“Las empresas trabajaron fuertemente en la determinación de nuevas formulaciones para evitar derivas. Por eso es importante aprovechar esta tecnología y utilizar las soluciones herbicidas que tengan la menor deriva posible. Existen formulaciones de 2-4D con niveles muy bajos de volatilidad que disminuyen ampliamente estas pérdidas”, destacó Platz.
Un ejemplo de estas tecnologías es el Sistema de Control de Malezas Enlist ®, un programa integral para el control de malezas que incluye nuevas formulaciones de herbicidas, biotecno-
logía de última generación en soja y maíz, junto a un programa de buenas prácticas agrícolas. Un estudio reciente de la REM, reveló que en promedio el 5% de los productores Aapresid en el país que realizaron soja, utilizaron la tecnología Enlist y la mayor adopción de esta tecnología tuvo lugar en el nodo oeste medanoso. Mientras que en maíz, el 7% de los productores utilizaron tecnología Enlist, con una adopción máxima del 12% en el nodo oeste.
Sobre el final, el ingeniero Platz resaltó la importancia de conocer la legislación de cada provincia y la necesidad de que un profesional confeccione la receta agronómica, y realice el asesoramiento durante la aplicación para evitar problemas y errores, y minimizar el riesgo de deriva.
Las empresas trabajaron fuertemente en la determinación de nuevas formulaciones para evitar derivas. Por eso es importante aprovechar esta tecnología y utilizar las soluciones herbicidas que tengan la menor deriva posible.
¿Qué
Un ciclo de charlas e intercambio que aborda los temas de la campaña, con la mirada puesta en los sistemas de producción y con información para la toma de decisiones que el productor necesita, cuando la necesita.
Formato descontracturado
Entrevistas mano a mano Intercambio
Es abierto a todo el público
Participación de especialistas para responder todas tus consultas
No precisa pre-inscripción
Algunas temáticas que pasaron y que se vienen:
Cultivos de servicio Pasturas y verdeos para cada ambiente Cosecha gruesa Manejo de malezas Manejo de colza Siembra y fertilización Cultivos de invierno
Ganadería: Genética y sanidad Estrategias de financiamiento, gestión y proyección
De Lunes a Viernes - 19.00 hs
Por la web de Aapresid
Mirá nuestro resumen semanal en el canal SOMOS Rosario.
Todos los sábados - 19.30 hs
Canal 7 de #Flow Box y de #Flow App para Rosario. Resto del país 520 #Flow
Campos alquilados Bioeconomía Maíz tardío Asociativismo, integración ‘agro-porcina’ Agtech Agregado de valor Palpitando la campaña de maíz 21/22 Manejo en maíz por región Manejo en girasol por región
¿Todavía no te sumaste?
¡Te esperamos! aapresid.org.ar/eventos
El desarrollo de un cultivo transgénico tolerante a herbicidas o resistente a insectos lleva, con viento a favor, 16 años y una inversión millonaria. Mantener vigentes estas biotecnologías aliadas del manejo integrado de plagas, es responsabilidad de todos.
La biotecnología aplicada a los cultivos es un pilar insustituible para el manejo integrado de plagas. Parece que fue ayer cuando se lanzó por primera vez un cultivo genéticamente modificado en Argentina. Los pioneros fueron la soja tolerante al glifosato en el ‘96 y los maíces protegidos contra barrenador del tallo y los algodones contra las orugas capulleras en el ‘98. Más de 2 décadas (y varios eventos biotecnológicos) después, se comienzan a registrar fallas de control y resistencias, haciendo temblar su efectividad.
Afortunadamente, existen formas de conservar estas valiosas herramientas por más tiempo. La Dra. María Luz Zapiola, responsable del Área Técnica del Consejo Argentino para la Información y el Desarrollo de la Biotecnología (ArgenBio), nos resume la travesía para la obtención de estas tecnologías y brinda recomendaciones para cuidarlas.
Los 8 escalones para lograr un cultivo transgénico tolerante a herbicidas o resistente a insectos
El desarrollo de un cultivo transgénico “no es soplar y hacer botellas”, grafica la especialista, haciendo referencia a la complejidad de su obtención. Su recorrido desde el laboratorio al campo lleva, en promedio, unos 16 años, una enorme inversión económica y esfuerzo de recursos humanos.
En palabras de Zapiola, para desarrollar estas tecnologías, “lo primero a definir es cuál es la característica que se quiere sumar, por ejemplo, aquellas asociadas al comportamiento agronómico de los cultivos como la tolerancia a determinado herbicida o resistencia a ciertos insectos plaga”.
En una segunda instancia, viene la fase de descubrimiento, “donde se busca identificar una especie fuente que exprese esa característica y, dentro de ella, el o los genes que codifican para dicho atributo”. Por ejemplo, la mayoría de los genes que otorgan tolerancia a herbicidas en los cultivos provienen de bacterias de los géneros Agrobacterium, Streptomyces, Delftia y Pseudomonas, mientras que los que otorgan la resistencia a insectos a los cultivos Bt, de Bacillus thuringiensis.
Luego, viene la prueba de concepto. En esta tercera etapa “se chequea que el o los genes
La biotecnología aplicada a los cultivos es un pilar insustituible para el manejo integrado de plagas.
identificados logren la expresión de la característica en cuestión cuando son introducidos mediante herramientas de ingeniería genética en una especie modelo”, como la diminuta crucífera Arabidospsis thaliana, o el tabaco. Previamente, se debe descartar que las proteínas codificadas por dichos genes no estén asociadas con alergenicidad ni toxicidad, aclara la referente.
Una vez chequeada la funcionalidad, en cuarta instancia llega el momento de introducir el o los genes en el cultivo de interés. “La transformación se hace a nivel de célula, por lo que después hay que regenerar una planta a partir de las células transformadas. En esta etapa de desarrollo temprano, estas plantas producidas son evaluadas para confirmar que expresan el o los genes de interés en niveles esperados y que presentan un desarrollo normal, comparable al de su contraparte convencional”.
Así, la planta elegida pasa a un quinto escalón del proceso, “donde se introduce al programa de mejoramiento para la introgresión para pasar esa característica a los materiales elite”. El proceso salta “al mundo real” mediante la sexta
fase, la del desarrollo avanzado, en el cual se evalúa la estabilidad de la característica en diferentes genotipos y ambientes.
Transversalmente, a lo largo de todo el proceso, se llevan adelante todos los ensayos requeridos por el proceso regulatorio para evaluar la seguridad para el agroecosistema y el consumo humano y animal de ese producto transgénico, explica.
Antes de poder salir al mercado, se necesitan subir los dos últimos escalones: “la aprobación regulatoria, que implica que el cultivo transgé-
nico es tan seguro como su contraparte convencional, y la inscripción de las variedades/ híbridos en el registro nacional de cultivares”.
Según la experta, todo este proceso de investigación y desarrollo de un cultivo transgénico, implica una inversión de unos US$115 millones. En este largo viaje intervienen diversos profesionales, como biólogos, biólogos moleculares, fisiólogos, agrónomos, bioinformáticos, técnicos de laboratorio, técnicos de campo, reguladores, abogados, médicos, veterinarios, entre otros, que trabajan de forma interdisciplinaria.
Un trabajo reciente de la Red de Manejo de Plagas de Aapresid (REM), recopiló en detalle información sobre las combinaciones de eventos biotecnológicos disponibles y materiales existentes en el mercado nacional para cada cultivo.
El maíz lídera en cuanto a desarrollo biotecnológico, alcanzando 11 genes introducidos, más un gen sobreexpresado por mutagénesis. La mitad de estos eventos le confieren al cereal tolerancia a herbicidas, mientras que 5 genes resistencia a lepidópteros y 1 a coleópteros. De los 18 materiales existentes al momento, varios de ellos cuentan con 4, 5 y hasta 6 eventos apilados -en el caso de Powercore Ultra Enlist- (Fig. 1).
En soja, el panorama es similar, contando con 10 genes introducidos hasta el momento, más un gen sobreexpresado por mutagénesis. A diferencia del maíz, solo 2 de ellos codifican para proteínas con actividad insecticida frente a lepidópteros. Como indica la Fig. 2, el abanico de materiales disponibles suma 6 opciones, con 2 eventos apilados salvo Enlist y Conkesta Enlist con 3 y 5, respectivamente.
Con respecto a girasol, sorgo y trigo, “los materiales comerciales disponibles, con tolerancia a herbicidas imidazolinonas (Fig. 3), no fueron obtenidos por ingeniería genética, sino por mutagénesis inducida, es decir no son transgénicos”
Figura 1. Genes apilados en maíz, presentes en distintos materiales.
Figura 2. Genes apilados en soja presentes en distintos materiales.
Figura 3. Tecnologías disponibles en girasol, sorgo y trigo
“La posibilidad de evolucionar resistencia es una característica inherente a los seres vivos. Ésta es el resultado de la presión de selección ejercida sobre la variabilidad existente en las poblaciones”. Por lo tanto, la forma como empleamos las tecnologías puede acelerar o desacelerar este proceso.
Advertencias reiteradas del Programa REM y especialistas, remarcan que el mal uso de estas tecnologías de mejora genética y de los herbicidas que apliquemos sobre ellas, puede conducir a la selección de resistencia en las plagas que se busca controlar. Es decir, que las malezas a controlar manifiesten resistencia a los herbicidas aplicados sobre los cultivos tolerantes, como ocurrió por ejemplo en cultivos RR por mal uso del glifosato, o que los insectos que son blanco de la tecnología evolucionen resistencia, necesitando insecticidas para su control.
¿Cómo está la situación con respecto a fallas de control o resistencias en insectos en Argentina? “En maíz, hay resistencia confirmada de Diatraea saccharalis “barrenador del tallo” a las proteínas Cry1F y Cry1A.105 en la zona de San Luis, y resistencia de Spodoptera frugiperda “gusano cogollero u oruga militar tardía” a Cry1F, declarada en todo el país. Para esta última también se ven fallas de control con Cry1A.105 a campo, principalmente en el norte del país”. Aunque los materiales con Cry1A.105 aún funcionan bien para siembras tempranas, para fechas tardías, con alta presión de cogollero, es más conveniente optar por materiales con Vip3A, indica Zapiola.
Por el lado de soja INTACTA, hay fallas de control de Rachiplusia nu “oruga medidora” para Cry1AC. “Se están haciendo los estudios necesarios para ver si este daño no esperado es debido a resistencia en poblaciones de la plaga o no”.
Que no cunda el pánico: estrategias para mantener más tiempo la utilidad de las tecnologías
Considerando el esfuerzo, tiempo y recursos que conlleva su obtención, es importante que utilicemos correctamente estas tecnologías para prolongar su eficacia, insiste la referente. Las acciones tendientes a retrasar la selección de resistencia se basan en dos puntos claves: reducir la presión de selección, y mantener bajo el número de individuos, tanto malezas como in-
sectos. A continuación, recomendaciones para el manejo de la resistencia -que idealmente deberán ser aplicadas en combinación-:
Malezas: independientemente si los herbicidas son aplicados sobre cultivos transgénicos tolerantes a herbicidas o sobre cultivos no transgénicos o barbechos, “la principal forma de ba-
jar la presión de selección es rotar o combinar productos con distinto mecanismo de acción Siempre teniendo en cuenta que más de uno de los herbicidas utilizados sea eficaz en controlar la/s especie/s objetivo. En este sentido, los cultivos tolerantes a herbicidas nos ofrecen opciones adicionales”.
Es importante ajustar dosis y momento de aplicación en función del tamaño de la maleza. Así también, es clave evitar su floración para achicar el banco de semillas. “La destrucción de las semillas durante la cosecha suma al control, pero es un arma de doble filo, ya que puede favorecer a la selección de aquellos biotipos que dispersen la semilla antes del momento de cosecha, escapando a ser trituradas”, advierte.
Como siempre, “el monitoreo previo y posterior a la aplicación de herbicidas, la rotación de cultivos y el uso de cultivos de servicios, entre otros, también contribuyen a la prevención y manejo de la resistencia a herbicidas”. Todas estas recomendaciones aplican al manejo y prevención de resistencia a herbicidas en malezas en cualquier cultivo, ya sean transgénicos o no.
Insectos: a diferencia del manejo de herbicidas, o de insecticidas químicos, con los cultivos Bt, “la/s proteína/s Bt que tenga el material sembrado van a estar ejerciendo presión de selección continua durante todo el ciclo del cultivo”.
La herramienta estrella para reducir la presión de selección de las proteínas Bt sobre los in-
sectos es la siembra de refugio. Este consiste en una porción del lote sembrada con un híbrido o variedad de ciclo comparable, pero no-Bt. “De este modo, se busca que las plagas que son blanco de la tecnología sobrevivan, en el refugio, para cruzarse con individuos que pudieran seleccionarse en el cultivo Bt. Así, dejarán descendencia susceptible, retrasando así la selección de individuos resistentes”.
Se ha convenido que el refugio en maíz debe ser un 10% del lote y deben estar a menos de 1.500 m de distancia de la última planta Bt (Fig. 4). Mientras que en soja, la superficie sembrada con refugio debe ser de un 20% y la distancia máxima al cultivo Bt debe ser 1.200 m (Fig. 5).
La siembra de refugio debe ir acompañada de rotación de cultivos, un adecuado control de malezas e insectos y monitoreo del cultivo durante todo el ciclo , tanto de la porción Bt como del refugio. El seguimiento del lote Bt es clave para detectar daños inesperados en forma temprana e iniciar un programa de contención de dispersión de posibles focos de resistencia, señala.
Por último, siempre que sea posible se deberán elegir materiales con más de una proteína Bt, ya que esto también contribuye a reducir la probabilidad de seleccionar resistencia en la población de insectos. “Hay que tener presente qué proteínas están combinadas en cada material y cuáles son las plagas blanco de cada una, ya que no todas tienen el mismo espectro de control”.
Figura 4. Distribución del refugio en el lote para maíz.
Figura 5. Distribución del refugio en el lote para soja.
Los cultivos transgénicos sin duda son herramientas de gran utilidad para los productores. Cada nuevo desarrollo representa una inversión considerable, no solo de dinero, sino también de tiempo. Hoy en día encontramos características de tolerancia a herbicidas y resistencia a insectos en el mismo cultivo.
Para poder seguir apreciando los beneficios de estas tecnologías es importante manejarlas siguiendo las buenas prácticas recomendadas. La clave para retrasar la selección de malezas resistentes a herbicidas es rotar y combinar productos con distintos mecanismos de acción y otras prácticas de control. En cuanto a insectos, para retrasar la selección de individuos resistentes a las proteínas Bt, es fundamental sembrar refugio.
La presente nota se realizó en base a los aportes de la Dra. María Luz Zapiola, a quien agradecemos su generosidad. Su testimonio permitió complementar la información provista por el equipo del Programa REM de Aapresid acerca del panorama actual y cuidados de tecnologías genéticas en semillas para el control de malezas e insectos.
Consulte las referencias ingresando a www.aapresid.org.ar/blog/revista-aapresid-n-212
Hay una mirada firme hacia el desarrollo de modelos sostenibles. Hay problemáticas muy serias en los suelos que deben ser resueltas para revertir la baja productividad.
Rodrigo
General de UPL Argentina
Rodrigo Ramírez, es un ingeniero agrónomo apasionado por el campo. Su visión está enfocada hacia una agricultura abierta; que se proyecte en base a la sostenibilidad de los alimentos a nivel mundial, sin límites ni fronteras.
¿Por qué es tan importante tu mirada sobre la nueva agricultura?
Considero que porque está instaurado en cada proceso que lleva adelante la firma (UPL), desde la dedicación a la fabricación y comercialización de productos fitosanitarios, así como también las bio soluciones y servicios.
¿Podrías ampliar esta respuesta con una interpretación más clara o algún ejemplo?
Sin dudas. UPL es una empresa de origen Indio, con más de 50 años en los mercados internacionales y con un propósito concreto. Constituimos una red de sostenibilidad en 130 países, con más de 10 mil colaboradores que consideran como urgente la sustentabilidad productiva.
¿Consideras que es posible en un mundo que ha cambiado tanto, en tan poco tiempo?
En realidad, es un desafío. La pandemia, las situaciones de conflictos bélicos y otros factores nos han llevado a un punto donde las soluciones a los nuevos problemas que se han venido originando cuentan con un serio inconveniente en las estructuras organizacionales. Los cambios nos están afectando a todos, aunque hay una realidad básica, simple y sencilla. Todos debemos comer 3 veces por jornada, los 365 días del año para mantener una expectativa de vida que día a día aumenta.
Ya somos 8 mil millones de personas en el mundo, y el gran desafío de aquellos que producen alimentos es muy grande y no se puede interrumpir.
Entonces cada vez habrá que producir más. ¿Bajo qué parámetros se debe manejar esta ecuación?
Bueno, ahí se presenta el problema. En principio porque hay que tratar de poner equilibrio en todas las distorsiones que se van generando. Luego, se trata de trabajar mediante un sustento muy relevante para producir alimentos de calidad, en cantidades necesarias y asegurando que cada persona pueda tener disponibilidad.
La tecnología es la que se juega un rol imprescindible. Hay que hacer todo de la forma más eficiente y en concordancia con el ambiente.
Hoy la sociedad observa, accede a más datos y por supuesto muchas veces juzga. ¿Crees que al sector o al campo se lo vigila por su forma de producir?.
La sociedad sabe o tal vez debemos explicar de mejor forma, que quienes estamos en este sector, tenemos una responsabilidad enorme. Mucho mayor si se observa que trabajamos de forma muy noble y adaptada a los cambios de pensamientos y las nuevas generaciones.
Se están dando grandes variantes, que se relacionan con una nueva interpretación empresaria que avanza en base a las soluciones integrales con todos los actores
Sin dudas. En esto se puede ver como todos trabajan en búsqueda de resoluciones. Acá se da la paradoja que los grandes decisores políticos no logran llegar a un acuerdo, mientras los sectores empresarios y productivos avanzan sobre caminos que intentan llegar a la solución del problema.
Hay avances locales que aportan a las demandas globales. Es una forma de avanzar en algo, sin quedarse parado mirando y diciendo que no se pueda hacer nada.
Ha cambiado la lógica, lo que antes venía de arriba hacia abajo, ya es distinto, porque requiere de una nueva interpretación que no es individual, sino ecosistémica y colectiva.
Entonces, ¿cómo sería en la práctica?
Muy simple, todos tenemos que ponernos a trabajar y compartir un propósito. Hay que alinear los incentivos para que todo funcione. Desde el sector, intensificando el único proceso natural capaz de descarbonizar la atmósfera. Es por medio de la agricultura, el desarrollo forestal y otras prácticas. Hay que tener en claro que no solo se trata de producir, sino de mantener el planeta sano en el tiempo.
Nosotros hemos firmado más de 100 acuerdos de colaboración con diversas instituciones, empresas y actores de la problemática ambiental.
Estamos trabajando del suelo para abajo, y lo hacemos bajo el concepto de que no sabíamos y necesitábamos de todos para
¿Un ejemplo sería el cambio climático?
cómo lo hacen desde UPL?
aprender. Eso nos ha hecho entender la problemática del carbono y estamos avanzando de manera conjunta.
Para nosotros la sustentabilidad no es un negocio, es una apuesta a largo plazo con el objetivo de generar valor y ver de qué forma se reparte. Nuestra satisfacción pasa por aumentar la productividad junto con todas sus variables.
No sería viable nada. Entraríamos en un problema muy serio, al igual que ha sucedido muchas veces en el pasado. No debemos olvidarnos de lo que pasó en Egipto cuando faltó el trigo o en México con la oportuna ausencia del maíz.
Se trata de tener conciencia y dedicación. Hay que entender -con firmeza- que la sustentabilidad se produce cuando uno hace, no cuando dice. Entonces hay que hacer más, trabajar rápido y obviar los pronósticos catastróficos ya que sería incomprensible que los seres humanos no queramos buscar las soluciones.
La naturaleza nos da siempre señales, por eso se revela y nos obliga al replanteo.
¿?
¿Crees que es necesario analizar el mundo por el desequilibrio que generan las naciones más prósperas y el grado de daño que ocasionan?
Más que analizarlo por países, todo esto se debería evaluar por el nivel de conciencia que tenemos las personas y el desequilibrio que estamos generando sobre el medio ambiente.
Está claro, que por un mayor consumo se producen más combustibles, por nuestra conducta se pierde más del 30 % de los alimentos que producimos y sin embargo -en algunas regionesfalta ese porcentual para una alimentación adecuada o directa-
mente no existe. Entonces, más que opinar sobre los países y la geografía, hay que reflexionar sobre la conciencia y la responsabilidad.
Muchos creemos que la forma en que se están haciendo las cosas, partiendo de la economía, no son las adecuadas.
Hay que buscar la eficiencia, aunque sabiendo que los recursos no son infinitos. Es necesario encontrar un mayor balance con todo lo que se hace. Hay que ir a un cambio como humanidad, a una economía regenerativa.
Por último, ¿Qué te preocupa en lo cotidiano, en la vida? ¿?
En principio, seguir generando conocimiento y encontrar un equilibrio día a día. Mi mayor preocupación es pensar cómo adaptarme al escenario que se viene, sin quedarme en la zona de confort. También poder saber lo que necesito y cómo desarrollar habilidades para lograrlo.
Estoy seguro, que mi mayor desafío es tener la capacidad suficiente para aprender. Sé que ya no solo hay que ir por la parte técnica, sino por mayores aspectos y con mucha gente vinculada. Ese es el camino.
La magnitud y el efecto de enfermedades y plagas en recursos forrajeros suelen verse enmascarados por efecto del pastoreo y/o la maquinaria debido a que se remueve constantemente material enfermo. Sin embargo, las pérdidas de rendimiento y calidad de forraje son procesos acumulativos que incrementan los costos por unidad de producción (litros de leche y/o kilos de carne; Figura 1).
Pero, ¿cuáles son las principales plagas y enfermedades que afectan a pasturas y verdeos? En este artículo abordaremos las más importantes, según “aparezcan” en el período de implantación o en las pasturas ya implantadas, así como los posibles mecanismos para asegurar su control y mitigación.
Figura 1. Impacto de plagas y enfermedades sobre la producción de forraje.
Las enfermedades más importantes durante el período de implantación suelen ser las del complejo de hongos que generan el “damping off” o “podredumbre húmeda” de las plantas. Estos patógenos pueden estar en el suelo o también en la superficie de las semillas. Si se encuentran en la superficie de la semilla, suele indicar una mala calidad de las mismas y generalmente por causa de hongos que aparecen en la superficie a causa de un almacenamiento incorrecto. En el suelo también puede haber presencia de hongos del género Pythium y Phytophthora, que son beneficiados por condiciones de exceso de precipitaciones y alta humedad del suelo. Estos hongos provocan la podredumbre de la semilla y de las raíces de plántulas (Imagen 1). La consecuencia es una caída del stand de plantas inicial, que puede comprometer la producción y la persistencia del recurso.
Entre las estrategias disponibles para reducir el impacto de las enfermedades en implantación, está el uso de variedades con resistencia o tolerancia (para el caso de alfalfa en la región subhúmeda de Argentina, por ejemplo, es fundamental contar con materiales de alta resistencia a Phytophthora) y también el uso de fungicidas en las semillas. En aquellas semillas que vienen peleteadas, se suele incluir este fungicida para incrementar las probabilidades de lograr una siembra exitosa (Imagen 2). También se puede modificar la fecha de siembra, evitando los momentos de mayores precipitaciones que pueden generar condiciones predisponentes para su aparición. Otra estrategia que demostró tener éxito es el uso de agentes de biocontrol como el caso de las Pseudomonas en semillas de Lotus.
Imágen 2. Esquema de componentes que pueden estar disponibles en una semilla peleteada.
Durante el período de implantación, las plantas son especialmente sensibles al ataque de insectos. Esto se debe a que, por su tamaño pequeño, una población relativamente chica de estos insectos puede generar una pérdida muy grande de plantas y/o una demora en el proceso de implantación. Los principales insectos que afectan durante este período son:
Pulgones: pueden producir daños por vía directa e indirecta. Los daños directos ocurren cuando hay altas poblaciones de estos insectos (Imagen 3). Los pulgones absorben savia y esto puede producir amarillamiento de hojas y deformar brotes. En la implantación, esta situación puede ser extrema y llevar a la muerte de plántulas. Los daños indirectos tienen que ver con la transmisión de virus que afectan a las plantas. La mejor manera de combatir a los pulgones es usando cultivares resistentes. En el caso de alfalfa, esta resistencia existe en la mayoría de los cultivares del mercado. La única excepción es el Pulgón Negro, para el que aún no existe resistencia. La estrategia de control químico, aunque es válida, puede tener impactos importantes sobre el resto de la fauna benéfica del lote. Asimismo, suele ser muy complejo lograr una buena aspersión del cultivo en implantación y que los productos lleguen al sitio donde se ubican estos insectos.
Trips: aparecen con mayor frecuencia durante años secos como el actual. No existe resistencia genética para esta plaga, por lo que el control químico es muy importante. La mejor manera de lograr un control efectivo de trips durante el período de implantación es a partir del uso de semillas curadas con insecticidas. Las semillas peleteadas que existen en el mercado suelen incluir un insecticida que protege a la planta durante los primeros días post-implantación (el período de máxima sensibilidad al ataque).
Isocas: las larvas del Bicho Torito (Diloboderus abderus) son el tipo de isoca más conocida y una de las que causa mayores daños en verdeos de invierno, sembrados luego de una pradera perenne. La especie muestra su mayor actividad de junio a septiembre, por lo que en siembras tardías de algunos verdeos pueden generar grandes pérdidas de plántulas. Al igual que trips, suelen aparecer en mayor número durante los años secos.
Las principales enfermedades que se pueden encontrar en pasturas implantadas suelen estar asociadas con daños foliares y afectación de raíces. Las enfermedades foliares se caracterizan por la presencia de manchas y lesiones en hojas y tallos. Si bien no suelen producir muerte de plantas, sí reducen su capacidad fo-
Imágen 3. Plantas de alfalfa afectadas por pulgones.tosintética y pueden afectar el crecimiento y la calidad de las plantas. Estas enfermedades foliares suelen tener varios ciclos durante el año. Las condiciones predisponentes suelen ser temperaturas elevadas y humedad relativa alta, principalmente en otoño y primavera.
Por su parte, las enfermedades del sistema radicular son causadas por patógenos del suelo. Las más importantes son ocasionadas por hongos Fusarium, Sclerotinia y Phytophthora. Aunque las infecciones ocurren generalmente en estadíos tempranos de las plantas, también pueden afectar a plantas adultas. Su desarrollo suele ser lento y depende fundamentalmente de las condiciones ambientales y del manejo del cultivo. Al dañar los tejidos radiculares, las
Existen numerosos insectos que pueden afectar las pasturas implantadas. Los principales daños en pasturas se suelen observar por efecto de orugas defoliadoras (Imagen 4) y orugas cortadoras. Las orugas defoliadoras dañan el área foliar, reduciendo la capacidad fotosintética de las plantas y generando pérdidas de cantidad y calidad de pasto. Por su parte, las orugas cortadoras cortan brotes y tallos jóvenes, afectando también la persistencia y producción de las pasturas.
plantas ven afectada su capacidad de absorber agua y nutrientes, de fijar nitrógeno, de anclarse al piso y de translocar y almacenar reservas. Esto hace que las plantas afectadas por estas enfermedades tengan un muy lento o incluso nulo rebrote. Estas enfermedades suelen ocasionar la muerte de las plantas y por eso disminuyen su persistencia productiva.
La principal estrategia de control de enfermedades de raíz y corona suele ser la resistencia genética. Para el caso de las enfermedades foliares, el control químico dependerá del umbral de daño y generalmente se suele recurrir al pastoreo y/o corte del material para cortar el ciclo de las mismas.
Para decidir su control químico hay que observar los umbrales de daño económico y considerar que se pueden llegar a perder rebrotes enteros por efecto de estos insectos. Si se considera que cada kilo de materia seca perdido equivale a un litro de leche o 100 gramos de carne que potencialmente podemos producir, tenemos una pauta para decidir si conviene o no aplicar productos fitosanitarios para el control de estas plagas.
Los recursos forrajeros pueden verse afectados por numerosas plagas y enfermedades. Durante el momento de implantación, estas suelen ser más críticas ya que pueden comprometer seriamente el stand de plantas inicial. Las estrategias de control incluyen el uso de variedades resistentes (como es el caso de Phytophthora y pulgones), la elección del momento de siembra adecuado (evitando condiciones predisponentes) y el control químico y biológico.
En recursos forrajeros implantados, a pesar de que las plagas y enfermedades no suelen causar la muerte de las plantas, el control de las mismas puede significar una mayor cantidad y calidad de pasto cosechado, además de una mayor persistencia productiva de los mismos.
El ciclo incluye presentaciones de especialistas en distintas temáticas y permite el intercambio y debate en vivo. Es gratuito y requiere inscripción previa.
Conocé el calendario disponible en: www.aapresid.org.ar/eventos
Ciclo de capacitación e intercambio para abordar los temas de la campaña, el cual reúne a los mejores especialistas, productores referentes de distintas zonas del país y la última tecnología disponible ofrecida por las empresas.
De lunes a viernes 19 hs. Para más información: www.aapresid.org.ar/eventos
Mira nuestro resumen semanal en el canal SOMOS Rosario.
Todos los sábados 19.30 hs.
Accedé de manera online a todas las publicaciones mensuales de “Revista Aapresid” con contenido técnico de publicación exclusiva de Aapresid. Además podés acceder a todos los informes de sus Redes temáticas: Maíz Tardío; Soja NEA; de cultivos de servicios Aapresid- Basf y Maíz del sur bonaerense, entre otras.
Conocé el calendario disponible en: www.aapresid.org.ar/eventos
Accedé en cualquier momento y desde cualquier lugar a las mejores charlas y jornadas de la institución, plenarias y talleres del Congreso Aapresid.
Canal de YouTube: www.youtube.com/aapresid
Todas las novedades respecto a la programación de las charlas podrán seguirse por las redes sociales de la institución.