




![]()





Roger Southern: The Oriental Timber Co rporation Ltd. at Cowie’s Creek
Michael O’Donnell: Pioneers, Pastoralists, and the Price of Legacy: The Robertsons of Colac Part 1
© Copyright, Geelong Historical Society Inc.
Information provided and opinions given by contributors to this magazine are not necessarily those of the Editor and Editorial Committee of the Geelong Historical Society Inc. ~
The Editor Magazine distribution: Mrs F. Craddock, C/- Box 67, Newcomb, VIC. 3219


Investigator is now 60 Years old! Reaching a ‘Diamond Jubilee’ is not an easy task, in whatever the sphere of life it occurs. It is the dedicated efforts of Society members and talented authors who should be congratulated on achieving this ‘milestone’.
Our first story recalls the way Investigator was born, and the magnificent contribution by Ian Wynd, its founder. Stories that follow continue to tell the tales from Geelong’s past. Don Patterson wr ote about the 1922 visit of Dame Nellie Melba. Harry Roberts concludes the story of the Geelong Town Clock. Roger Southern informed us about the Oriental Timber Corporation. Michael O’Donnell’s article tells us about the influen tial Robertson pioneering family.
This Investigator edition heralds a new phase in its long journey, with the advent of modern communication s supplementing (not replacing) the published stories. Now you will be able to not only read, but also hear the stories. We recognise many readers struggle with vision. In some places, links to additional images and video are available, because limited text space does not allow the full story to be told. A major addition from this edition is the ‘flipbook’ or electronic copy. You can scan the code or type in the link to view the magazine on your mobile device or home computer. Again, it is an addition, not a replacement.
We want to thank Daryl Wight for assisting in the role of Editor for the June Edition. We are very grateful of his services, both past and present, to our Society. You have no doubt observed that this edition is produced by our Editorial team. I wish them well in their future editions.
Harry Roberts, President Editorial Team: Coral Turner, Roger Southern and Lana Capon
The Investigator is published quarterly by the Geelong Historical Society Inc. Subscriptions are $40 for individual membership; $40 for two members in one household (receiving one magazine); and $45 for overseas individual membership . Present Issue $10 Past issues may be purchased at $10.00 per set (4issues) 1976 –2021
-
Address for Investigator contributions: Email: web@geelonghistoricalsociety.org.au Post: PO Box 67, Newcomb VIC 3219

Subscriptions for the Society’s new financial year (March 2025 to February 2026) are now due.
Subscription rates are as follows:
Individual member
Two members in one household

$40.00
$40.00 (one magazine)
1. Payment can be made by internet banking to transfer money from your account to the Society’s account at Bendigo Bank – BSB 633000, Account No: 105389506. Make sure you reference your name in the transfer of funds .
2. You can pay by cash or cheque at any of the Society’s monthly meetings.
To join, go to our website www.geelonghistoricalsociety.org.au
Committee Members 2025 to 2026
Executive
President: Harry Roberts
Vice President: Mark Thomas
Secretary: Michael O’Donnell
Treasurer: Tony Cust
General Committee: Freda Craddock
Pauline Fairfoot
Lana Capon
Peter Fogarty
Coral Turner
Committee members can be contacted at:
admin@geelonghistoricalsociety.org.au


By Harry Roberts
Investigator now celebrates its 60th year of publication. Geelong Historical Society Inc.’s prestigious magazine was first published in September 1965. Since that time, it has been published quarterly, except for a few editions when COVID 19 suspended normal life. Every edition has been devoted to the telling of Geelong’s history. People, places and events have been researched, recorded and publis hed. Investigator is, and has been, the Geelong Historical Society’s investigator, reporter and messenger.
As we celebrate the 60th year milestone in this edition, Investigator the messenger becomes the message and Investigator the reporter becomes the report. After 60 years, Investigator has earned the right to be considered a Geelong ‘institution’. It is a precious resource and first call for those interested in discovering more about Geelong’s history and the people who created it.
The person responsible for the first publication of the Investigator was Mr Ian Wynd. Ian at one stage held the position of President in the Geelong Historical Society, but his most prominent position was Editor of Investigator. He fulfilled this role for 38 years from Edition 1, in September 1965, until Edition150, in March, 2003.

Ian Wynd
In 1989 Ian was interviewed by G wladys McLachlan in her radio program ‘Keeping in Touch’. The program was broadcast on Geelong radio 3YYR (You Yangs Radio – the predecessor of today’s Pulse FM). It was a long interview, but here we publish extracts which have their focus on Investigator’s beginning. This valuable program gives us Ian’s account of how the magazine began.

The interview was conducted during Investigator’s 25th year. Here are Ian’s comments.
“It’s in its 25th year this year and we are looking forward to the 100 th edition in September. It will be a mil estone that we didn’t expect to reach when it started 25 years ago. At that stage I was worried as to whether we would be able to bring out two issues a year. We have been bringing out four issues a year for 25 years and my worries then were not really well founded and the magazine’s been going about very nicely ever since.
What happened was at that time, the Historical Society used to have speakers for meetings and they spoke and people went away and that was the end of it. There was no record of what they had written and I kept saying to people in the Society ; “why don’t we record them in some way ?” And Len Jacobs, the late Len Jacobs, was the President at the time and eventually he got fed up and said; “Why don’t you do it?”, so I undertook it and it’s been going ever since. 1

Ian reflected on the challenge he faced when he accepted the invitation to produce a magazine. In the 100th Edition of Investigator (25 year anniversary) he confessed:
“Being an English as well as a History teacher, I knew a little about writing, but I was a complete ignoramus when it came to magazine production. The words, “offset” and “letterpress” meant nothing to me. I knew nothing of the conventions of editing copy. But I was enthusiastic and launched into the task with more energy than skill.” 2
1 McLachlan G., Keeping in Touch radio program 1989, An Interview with Ian Wynd, 3YYR radio
2 Investigator, Volume 25, September 1990, page 3

Eventually, the first edition was printed by Ken Jenkin on lithographic plates and reproduced using an offset press. The copy was typed by Mrs Priscilla Pescott using an electric typewriter. The price was 50 cents 3 The relationship between Ken Jenkins and his family and Investigator spanned 47 years.
Comparing it to other Historical Society magazine s of the period Ian observed:
“Ours is devoted to articles on the history of Geelong and it’s a very good record of things. I think most people who get interested in the history have recourse to it and find it a very useful piece of equipment.” 4
A video of Ian’s interview is available on our website. It has been pared back to 16 minutes, https://momentsintime.net.au/ian -wynd-interview-1989/

In Investigator’s first edition, Ian wrote about the reasons for the magazine’s creation. As Ian mentioned in the interview, he believed:
“… the Geelong Historical Society should have a magazine in which be recorded the many fine talks given at the Society’s monthly meetings; and to provide further items of historic interest about Geelong and district. It is hoped to have regular features which will increase readers’ knowledge of Geelong history…” 5
Ian wrote about the title “ Investigator” explaining it was difficult to create because people expect it to be “…pithy, apposite and catchy ”.6
“It was chosen for two reasons: one, because of its connections with Matthew Flinders who was the first European to view, if at a distance, the area where Geelong stands today ; two, because it indicates the function
3 Ibid
4 McLachlan G., Keeping in Touch radio program 1989, An Interview with Ian Wynd, 3YYR radio
5 Investigator Volume 1, September 1965, page 2
6 Ibid, page 2

of the magazine and the Geelong Historical Society ; namely to investigate the past and record the truth of an earlier age. “ 7
Ian encouraged all members to contribute to the magazine, irrespective of the size of the articles they wrote. He offered to assist with style and grammar.



First editions had no photographs, so sketches were employed to create maps and even the front cover. Today, the cover has a photograph relating to a prominent article. Investigator’s first cover was a composite of John Batman and Matthew Flinders’ portraits drawn by Mr W. J. (Bill) Smith and a sketch from Emma Von Stieglitz, the wife of Geelong’s earliest pioneer.
The next cover design, in 1971, was an enlargement of an 1856 illustration by S. T. Gill. The illustration stretched across the back and front pages. However, the cover design was short lived. In March,1973 the cover changed from the S. T. Gill picture of Market Square. The new scene was still Market Square, but one that shows the Geelong Town Clock tower. The scene was a reverse line drawing by W.J (Bill) Smith that was formerly printed in Investigator Volume 3, Number 1 centre spread. Ian reflected that:” Neither of these two covers achieved what was hoped for.” 8 Investigator’s most successful and enduring cover was a drawing of Matthew Flinders astride the bow of HMS Investigator’s launch. It was first used in Volume 9 in March 1974, and it is an
7 Ibid, page 2
8 Investigator Volume 1, September 1965, page 2

icon that the Society uses today. Again, the creative and skilfully directed pen of W. J. (Bill) Smith was employed.

The image Smith created was based on the statue which stood outside St Paul’s Cathedral in Melbourne. The image’s introduction was timed to correspond with Victoria’s celebration of Matthew Flinders’ birth. Although not currently used as a cover, the sketch is an icon still associated with the Society.
More than 1400 articles have been published over the past 60 years. It is interesting to examine who the main contributors have been. These people have been helpful in ensuring the Investigator’s survival and developing its reputation. I have included a list of people who have contributed more than 20 articles.

Ian Wynd’s contribution as editor for 38 years is remarkable and testimony to his diligence, enthusiasm and vision. Since Ian’s departure, others have continued to maintain Investigator’s high standards. These people also need to be recognised : David Rowe, Cliff Cummin, Roger Southern, Michael Menzies, Lana Capon, Daryl Wight , and Victoria Spicer. Investigator was also fortunate to have Therese Grant perform the layout of the magazine for ten years between 2004 and 2014. Her daughter, Megan, then continued in that role until 2024. Their work contributed to the magazine’s attractive appearance and professional l ayout.

There have been 234 Investigator magazines published since 1965. At one point there were over 700 copies in one quarterly publication. Currently, the number is a little under 300.
W. J. (Bill) Morrow 151
Ian Wynd 96*
Former Secretary articles about street names and chronologies. Bill’s work on providing an Index for the Geelong Advertiser is legendary.
That figure is an underestimation, because there were many unattributed articles that I am sure were written by him. Ian was a Life Member and also President for a short time.
Peter Alsop 66
Norman Houghton OAM 54
Jennifer Bantow 39
Ruth Hill 30
Daryl Wight 30
Dr Peter Mansfield AOM 27
Dr Phillip Brown 25
Gladys Seaton 21
Charles Demilo 21
Freda Craddock 20
Peter was a former President for 27 years and an enthusiastic historian.
Norman was Founding Director of the Geelong Historical Records Centre (now Geelong Heritage Centre)
A committed Society member, Jennifer wrote individual articles as well as in collaboration with others.
Ruth was a former Secretary and popular Society stalwart whose research and writing was well respected.
Daryl was a former Secretary and Editor. He is the current Editor of this edition. Daryl has great enthusiasm, skill and talent for local research.
Peter was a prolific contributor to our magazine and Ballarat’s Society’s publications. He was a frequent speaker at monthly meetings.
Phillip was a former President and renowned academic.
Gladys was a long time member, former Secretary and local author specialising in Geelong West.
Charles was a Society member who contributed many articles based on his recollections of living in Geelong.
Freda has fulfilled many roles over the years and has written In collaboration with others and she distributes the magazine with her sister, Pauline.

Copies of Investigators are delivered to England, Italy and to members in many states of Australia. The Geelong Regional Library’s Heritage Centre and the State Library of Victoria ha ve every published copy which they make available to Library members and the general public.
Distribution methods have changed over the years. In the past, members on bicycles and on foot, hand - delivered to members with local addresses. Some copies are still passed to attendees at monthly meetings, but the majority of magazines are now posted whi ch in itself is a huge task. For decades, Freda Craddock and Pauline Fairfoot have been responsible for this huge quarterly effort. They collect magazines, print address labels, attach them to Society envelopes, insert, seal and post them. They must update ever- changing membership lists so that every member gets their magazine on time. It is a task performed without fuss and fanfare, and they seek no praise. Their longstanding commitment deserves recognition.
Investigator’s format has changed little. Its size has only altered by the national change from imperial to metric paper sizes. For many years it was printed on foolscap folio paper, stapled in the centre and folded. Over the years the printing techniques changed with the introduction of new printing technology, and Investigator printed with each incarnation culminating in digital printing in 1996 at Ken Jenkins’ Printing workshop. Once the Jenkins family ceased business Investigator was printed by Gordon Print. Now the magazine layout and printing is performed by Print Design.
Modern printing techniques have helped to make the magazine more attractive and enjoyable for the reader. Pressures to digitize and change to an electronic format are always present. Perhaps, in the future, members might receive an electronic copy. However, there are no current plans to achieve that outcome. Investigator will still be printed into the foreseeable future.
The Society has never sought to subsidise the magazine or any of its products through sponsorship. Financial members have borne the cost of production and distribution through their membership fees.
Australian and Geelong societies have changed considerably since 1965. When the first copies were produced, Sir Robert Menzies was Prime Minister.

Australian troops first travelled to Vietnam to engage in warfare and a conscription ‘lottery’ began for adult males turning 18. Australia’s population of 11.8 million largely comprised of European descendants in1965. Our population today is more than 26 million, and increasingly multicultural. Geelong and district local government divisions have changed too, from six local government councils in 1965 to a single City of Greater Geelong. Its regional population has more than doubled from 102,000 to 226,000. Where thousands of cattle and sheep once roamed and verdant crops grew on the city’s outskirts, now thou sands of people reside in new suburbs.
Geelong’s 1960s economy was based on manufactur ing with employment being available at Ford, International Harvester, Alcoa, Pilkington’s, Birmid’s Foundry and the Shell Refinery to name a few, A plethora of small vendors earned a living supplying these large companies. All those companies have closed, but many new employers filled the gap. Companies such as Deakin University, Cotton- on, Transport Accident Commission, WorkSafe, Genu and the National Disability Insurance Agency did not exist in 1965. Tourism has replaced export industries on the Waterfront with historic buildings being converted to meet the needs of a world dominated by technology and change
Geelong has changed socially, economically and physically since the first edition was published. Investigator keeps pace with change and its content will continue to research and report and publish articles on those changes. Changes come and go, but Investigator’s purpose is consistent. Ian Wynd expressed this purpose succinctly: “… to investigate the past and record the truth of an earlier age. ” 9
It is interesting to reflect on Ian Wynd’s final message to readers in that first edition. It is a message that still holds true:
“And so we present this magazine in the hope that it will meet your approval and will serve a useful purpose not only for the Geelong
9 Investigator Volume 1, September 1965, page 3

Historical Society in particular, but also for the community of Geelong as a whole.” 10
Concluding his editorial in the 25th Anniversary Edition in 1990, Ian Wynd was in a reflective mood. His final sentence was one of hope and prophe cy.
“With the current interest in history there seems to be no reason why Investigator should not continue for another quarter of a century. There is more certainty that I will not be its editor.” 11
He was correct in both observations. In his final editorial in the 2003 March edition of Investigator, Volume 38, No. 1. Ian wrote his last message to his beloved Society members and the Geelong community, who have taken so much interest in his editorial leadership.

“This issue also marks the end of your editor’s reign at the helm of Investigator. Just as time caught up with foolscap and bromides, it has caught up with your editor: he is now in his eightieth year and his health is starting to decline and he has reluctantly decided that it is time to go.” 12
Born in 1923, Ian Wynd passed away, on March 15th 2003, just two weeks after Investigator was published.
Investigator is more than Ian Wynd’s legacy : it is a well-regarded, respected and popular periodical.
10 Ibid page 3
11 Investigator Volume 50, No.3 2015, Page 90


By Don Patterson
Recently I was fortunate enough to acquire a copy of the concert programme for what was billed as the "Grand Presentation Concert" in aid of The Kitchener Memorial Hospital Geelong. The concert, starring Dame Nellie Melba, was held in His Majesty's Theatre, Market Square Geelong on Tuesday the 15th of August 1 922. Slightly smaller than A4 and bound with a yellow ribbon, the programme consists of five pages listing Melba's accompanists, a list of items to be performed and the names of the organising committee. It was printed by H Thacker of Ryrie St. Geelong.

In its review of the concert the following day, the Geelong Advertiser reported that "each patron was presented with a beautiful souvenir programme, which was most artistically produced in booklet form. On the cover was engraved a dainty colour

sketch of Faust's first meeting with Marguerite and inside was an excellent photo of Dame Melba as she sings the Jewel song". Apparently, a lucky number of patrons had their programmes signed by Dame Nellie. 12
Listen to Dame Nellie Melba sing the Jewel Song
Courtesy www.archive.org



Even though Dame Nellie had promised a year or so before that she would return to give a concert to raise funds for the hospital, apparently it wasn't an easy road to getting the concert organised, according to the report in the Advertiser 13. With some vested interests and nay sayers pushing back, it was left to the Mayor Howard Hitchcock,and a small band to organise the event. The organising committee consisted of the Mayor, W H Thacker, H T Gude, Cr. F G H Ritchie, Cr. J A Thear, E Marks, J H McPhillimy, Tas Gurr and N Woodfine. Mr Claude Heyward, owner of His Majesty's Theatre in Market Square, generously provided the theatre for the event, and the room was described as transformed into a fairyland by the installation
12 Geelong Advertiser, 16 August 1922, page 3.
13 Ibid

of 1300 amber lights which were shaded by giant golden poppies. Long Venetian poles carrying flower veiled lights were also placed around the venue, with the proscenium draped with chintz and shaded silk, and the footlights screened with flowers and illuminated palms. The lighting was generously supplied by the Electric Supply Company14 .
The audience of 1700 people came from across the social spectrum. Pricing of the seats ranged from the premium seats which were offered at £100.00 which allowed for a party of five, down to £5.00 for two people, which still would have been a reasonably exp ensive night out as the average weekly wage at the time was around £4.00. 15 Some 350 patrons were seated on the stage. All the nurses from the hospital were given entrance to the show and were seated in the four boxes of the theatre. Half of the nurses enjoyed the first half of the show, whilst their workmates tended to the patients. The nurses then changed over at the interval so that every one of them saw part of the concert. Other attendees were lucky enough to win tickets from various organisations that had raised funds for the hospital. In the December 1990 edition of the Investigator, Charles Demilo recalls the story of a young student w ho had received the ticket allocated to his class, and when asked later how he had enjoyed the show, he had to admit that he had sold it to a neighbour for 10 shillings.
Dame Nellie was supported on the night by the singers Lillian Gibson and Haigh Jackson and accompanied by the pianist Una Bourne and the flautist John Lemmone. The author of the Advertiser article describing the musical side of the evening, gave an in depth report on the artistes’ performances and was most effusive in his or her praise of the night ’s offerings. At the end of the night, it was revealed to the audience that the amount raised was £7012 which was an astonishing amount given that, only the year before in Sydney, a similar concert had raised £6800. When you compare the relative populations of around 1,000,000 in Sydney to Geelong's 31,000, 16 it was quite a remarkable effort.
14 Ibid
15 State Library of Victoria website https://guides.slv.vic.gov.au/whatitcost/earnings
16 The Argus, 23 September 1921, page 8.



At the same time as the amount was revealed, Dame Nellie was presented with a memento of the evening in the form of a solid gold paperweight housed in a polished blackwood box lined with blue silk velvet. The paperweight features a gum tree, which had been photographed standing by the Barwon River, overhanging the city's coat of arms with a kookaburra and a lark sitting on it. Suspended from the lark’s beak (a nod to a songbird) is a star set with precious stones and on the reverse is the initial 'M'. Sitti ng on the base are a kangaroo, a wallaby and a boomerang, with the details of the evening engraved on the base. The paperweight was designed by the Lady Mayoress, Mrs Hitchcock and executed by the Geelong firm of John Hammerton, who was in the audience that night. The paperweight is now housed in the Melbourne Museum 4 .

On the same page as the report of the concert, in the adjoining column, there is an article entitled 'THE SOCIAL SIDE - SOME OF THE DRESSES" where we see wonderful descriptions of the clothes worn by Melba and Misses Bourne and Gibson, as well as some of the fashionable ladies. Of the 1700 guests about 180 are mentioned by name, but as the list progresses from the well known names to the lesser ones, the descriptions of the ladies’ attire was less prominent.
Some time after the concert another donation of £7000 was received from the Edward Wilson Estate, which forestalled the need for a loan. This charity was set up by Edward Wilson, the owner of the Argus, in 1877 and is still operating today. With construction under way, the organising committee of the Kitchener Memorial Hospital in Geelong, considered that Dame Nellie Melba was the ideal person to lay the foundation stone for the Female Surgical Ward. However, Dame Nellie was abroad and was unable to attend. In her absence , the committee then decided that Dame Nellie's four and a half year old granddaughter, Pamela Armstrong, would do
4 Item HT 39878 Museums Victoria Collections.


the honours. The date was set for the 21st of February 1923, but the young child fell ill, so the ceremony was postponed. Dame Nellie eventually returned, and the committee asked her to lay the foundation stone, which she did on the 20th of December 1923. In its edition of the 19th of July 2013, the Geelong Independent featured an article and a photo of the rediscovered foundation stone.




By Harry Roberts
In this final part of the story, after the tragedy of the Tower’s demolition, events take a positive turn for the clock. In the new tower, where the clock is presently housed in Malop Street, there are names inscribed inside the dome walls that houss the clock today. Read those inscriptions in the article. Do you know who these people are?
The iconic tower was gone. After the dust settled and residents realised what they had lost, the anger and disgust continued to be expressed in the newspaper. Even residents from outside Geelong , in disbelief at the event, contributed to the expressed anger. The day after demolition Geelong Advertiser’s article, “TOWER DEMOLISHED OLD LANDMARK PULLED DOWN NOW A BATTERED HEAP”, set the tone.
“All discussions as to whether the tower of the Market Square Clock should be preserved or demolished were emphatically ended soon after the Meridian yesterday; and what was a beautiful creation of wood, stone and iron now lies in the dust – a shattered heap o’er which sentiment will doubtless shed a tear. However, the deed is done, and neither lamentations nor injunctions will now avail to undo it” 17
At a subsequent Council meeting when Market Committee recommendations were being discussed, Councillor Ritchie insisted his former protest about the Clock’s removal be recorded in the meeting minutes. He continued with his apparent anger.
17 Geelong Advertiser and Intelligencer October 311923, page 5

“He maintained the Council carried a resolution to have it removed to a site at the intersection of Sydney Ave. and Fitzroy streets, and that they should have adhered to that resolution.”18
Council’s defence was that no tenders for the removal of the tower came forward when they were advertised, therefore the Council was free from any liability. It had an agreement with the owner of the new Block Buildings that the clock would be re-sited there.
An Editorial on October 31 st titled, “An irrelevant point” criticised some City Councillors for implying it was improper to criticize the decision to demolish the clock because they paid for most of the cost for the tower and clock ’s erection. He claims it doesn’t matter who erected the tower or who paid for it. Complaints by writers, he claims, are about what the community has lost and how precious that object was to them and their town. Other towns have wanted a clock and tower like the one that has just been pulled down. He concluded that the clock’s ‘mutilated remains’ in the new Tait tower will probably only be visible from one street instead of three.
November 1923
When news of the tower’s demise reached Melbourne’s Architectural community, their disappointment was also communicated.
“At a monthly meeting of the Royal Victorian Institute of Architects in Melbourne on Tuesday evening reference was made to what was called the wanton destruction of a choice architectural feature of Geelong ’s landmark in the clock tower.” 19
Students of architecture visited Geelong to sketch the old tower and clock , as well as other prominent buildings.
Two more letters of regret were printed on November 1 st One letter came from G.F. Walter who condemned the vandalism by the council. He said it appeared
18 Ibid, page 5
19 Geelong Advertiser and Intelligencer Friday, ‘THE DEMOLISHED TOWER MELBOURNE ARCHITECTS EXPRESS REGRET’ November 2 1927, page 4

they have, ‘no regard, reverence or sentiment in their composition for historical records of the city.’
A second letter, by A.F. Silcock, was remarkable and clever. He lived outside Geelong, but had visited at regular intervals over the years. Mr. Silcock felt a great regret at the loss of the tower and ‘landmark’ which he likened to; ‘ … the death of a living thing at the hands of an executioner.’
He was moved to craft a poem about the tower’s importance to people titled THE OLD TOWN CLOCK.

Almost two weeks later, perhaps after the impact of the tower’s loss was felt, there seemed to be efforts by some councillors to rationalise their decision. Alderman Walls, a strong supporter to tear down the tower, mentioned that although the clock’s resurrection may be three or four years away it would be placed in a conspicuous position. Councillor Jacobs agreed, saying it will, ‘…command a good view in the centre of the city’. Alderman McCann said he had consulted the contractor and determined it would have a commanding position.
After the demolition, some people, like Charles Dem ilo, collected souvenirs ,but on a larger, more professional scale, metallic remains proved valuable. Shattered metallic remnants of grotesquely twisted wrought iron still had a function. Although the metal was reduced to scrap metal, foundaries were able to recast the pieces to manufacture domestic products. That is precisely what Backwell’s Backwell Brothers


Stove Works in Aberdeen Street did. Scrap transformed wrought iron fragments were turned into stoves for commercial and domestic consumers. 20
Many homes in Geelong , perhaps unknowingly had a piece of the tower - in their kitchen!
Born from civic generosity and pride, but destroyed by civic indecision and apathy toward heritage, Geelong 's prominent tower was a sentinel to the measurement of local time. Austin clock and tower stood innocently in the road of progress and development. It was ultimately a victim of fiscal progress. The tower and clock pre-date London’s Big Ben (Elizabeth Tower) and the clock started to tick two years and seven months before that famous London landmark. Sadly, our architecturally admired tower has gone, but the clock still ticks on! It is still with us today, with its original four illuminated faces still informing city residents of the correct Australian Eastern Standard Time.
Looking through the prism of history, and with the benefit of hindsight, motives and issues can become clear, whereas in the day when decisions w ere made, they were influenced by sentiment, civic responsibilities and pecuniary interest. With an objective and distant examination of the times, technologies and events may now illuminate a different perspective. Consider this interpretation.
When individual wristwatches and fob watches were expensive the town clock was essential, but as the community expanded its residential boundaries and individual timepieces became cheaper, the town clock was more of an ornamental feature.
Constructed with a complex, fragile, interwoven, wrought iron internal frame and clad with fragile and small individual tiles, (together with an ornate decorative iron fretwork and balcony) the tower was extremely difficult to dismantle and expensive to relocate.
Then arose the decision of a suitable central and prominent position for its new home. Appropriately placed in the domestic and commercial epicentre of Geelong, in 1856, the tower catered for community needs / As Geelong
20 Investigator 1972 volume 7 issue 1, pages 18, 19 &20

commercially developed and expanded, and the residents grew more numerous, the tower's position was becoming an obstacle. A central position was no longer required, but a new position where it could be seen was important.
Geelong, from 1856 to 1923, was transformed from a small, rural, adolescent town into a vibrant modern adult city. Commercial and public buildings were allowed to be constructed in Market Square and future re-purposing of Market Square land meant the clock ’s days were numbered. Market Square became expensive commercial real estate in the city centre. Values of monetary development were championed ahead of heritage aesthetic and architectural qualities. No consideration was given to maintaining a central, green recreational space at the heart o f the city. The tower became expendable, but the clock could still perform a valued role and there was the sentimental influence to retain an heirloom. Relocating just the clock into a modern prominent building, that was built to last for decades, could meet all the civic commercial and social criteria.
So, based on these factors, we can perhaps understand the logic of the City Councillors at that time.
View the clock tower in Market Square from 1856 until 1923 https://youtu.be/0RljU8enQrc


Austin’s clock and tower stood innocently in the road of progress and development. Sadly, the architecturally admired tower has gone, but the clock ticks on today! Its original, four illuminated faces, facing to four Cardinal Points of the compass, continue informing city residents of the correct Australian Eastern Standard Time. Residing in Market Square in the Colonial Mutual Life Tower (Block Buildings) that face Malop Street, the clock is pre-eminent among other city timepieces.
Situated in Geelong ’s commercial hub, its location is no longer like London’s Greenwich Park, but it is still the place from which Geelong measures its longitudinal boundary of East and West.
Geelong’s clock was released from its exile in the basement of the City Council building in 1926. Fully restored and ready to resume its daily duties, the clock was firmly encased into the building which is its present home.
According to the Geelong Advertiser:

“… ere long it will be removed from its temporary resting place and overhauled and placed in the tower of the Colonial Mutual Life Assurance Society’s building in Malop Street which is near completion. 21 “
News of the clock ’s resurrection was published on the front page of the Geelong Advertiser on Wednesday, October 26 , 1927. The newspaper extolled the benefits of its location in the new Block Building in Market Square:
“The building has incorporated the old with the new, inasmuch as it is ornamented with the Town Clock which for many years adorned the Austin tower in Market Square. It is symbolic as a link of the past … It is the only commercial building having a Clock Tower in Geelong .”
Absent from the dome’s top is the iconic kangaroo weathervane which was once mounted on the tower’s finial.
Tower today
Memories of the clocktower lingered well past its demolition. On April 13 , 1927 an article entitled : ‘ONCE WE HAD A SPIRE ’ Also a clock Tower Geelong Architect’s Warning Against Vandalism ’
Architect, Mr. R. H. Davies spoke at a meeting of Architects at a Geelong Rotary Club luncheon. He had just returned from a four-year European trip. He was complimentary of the many fine buildings in Geelong and said it was our duty to preserve them from demolition and despoilation. He commented on the tower in Bruges, St Marco in Venice and the St Mark’s Campanile. Expressing his regret, he said:

Tower today
“Geelong once had a Market Square which gave distinction and character to its city. It also had a clock tower which in its modest and unassuming way was not greatly inferior in point of beauty to its more famous ancestor in
21 Geelong Advertiser, Thursday 7 Oct 1926, page 6 and page 3 Wednesday 13 oct 26

Venice. Alas that our Market Square is no more, and our clock tower has been levelled to the dust.”22
Perhaps we need to heed his call and follow his advice on preservation of our prominent buildings.
My visit to the inside of the tower revealed a fully operational clock as it was manufactured in 1854. No modern devices or timekeeping accoutrements have been added to the vintage mechanism over the decades.
View the Video of the clock still working today. https://youtu.be/-Okyeyep -ww


It certainly would meet the criteria of a ‘Grandfather Clock”. It is a modern -day symbol for Geelong ’s ‘father time’. It appears that the person who commissioned the clock may have left his mark on the wall.

It’s hard to decipher but looks like H Turner, OR Tanner1928 (left)
The second inscription (right ) seems to be G Rock J C T 1939.
Do you know who left these names on the inside of the dome’s walls?
A public record of the tower and clock’s existence has not been forgotten. When the Market Square was last developed in 1985, Geelong City Council recognised the tower and clock’s place in the history of the site. Pictures and illustrations, with

22 Geelong Advertiser April 13, 1927 page 7

a brief explanation of the clock’s origins in the Market Square were placed on the Centre walls, adjacent to the original clock’s location. It also commissioned Geelong Historical Society to create a plaque for the City’s 150 year anniversary to explain the tower and clock’s origins and fate. The plaque is positioned on the tiled floor in close proximity to where the original tower stood.

in Market Square
Today, the clock mechanism is still in the ownership of Geelong City Council and is in excellent condition. Current Market Square managers, Knight Frank, wind the clock every two weeks and make sure it is maintained to ensure its continuous operation.
After 168 years of exposure to Geelong 's fickle weather, the patina on the clock ’s four faces testify to their antiquity. Their luminosity is fading, but the clock mechanism still beats strong and proud in its domed tower. Like a finely tuned metronome, the clock’s pendulum continues to swing rhythmically, but its small bell is seldom heard above the cacophony of the city’s foot and motorised traffic.
A new ‘Age of Enlightenment’ now directs city councillors to conserve and preserve our past. Heritage protections are also in place to strengthen their arm against reconstruction based on selfish, ephemeral and economic desires.
In a Geelong Advertiser article by reporter Brenden Kearns on March 12, 202 5, it was revealed th at the Committee for Geelong is planning a Market Square redevelopment.
This new Market Square redevelopment will ensure the domed tower remain s safe from the modern architect’s pen and the wrecker’s ball and dozer.

One hundred years ag o Market Square’s open public space was transformed to retail buildings, and heritage building s were destroyed. Today, that situation is to be reversed. It appears we have learned the lessons from the past.
“The plan would be to include the demolition of the existing shopping centre and refurbishment of the heritage buildings and clock tower. It would also feature the creation of a 5000 sq. metre green public space for hosting markets and events. ”
Present Mayor of Geelong, Councillor Kontelj commented:
“The redevelopment of Market Square is crucial for the revitalisation of our CBD.”

Let's hope the town clock ‘ticks on’ into a new century and that Geelong’s future residents will still see it's faces and positively reflect on our present time, times long past and Mr. James Austin, who had the generosity and vision to erect a Town Clock


By Roger Southern
Amid high hopes, the Oriental Timber Corporation 23 began business near the mouth of Cowie’s Creek in North Geelong in 1908. The sawmill buildings were on the high ground where today’s ‘Godfrey Hirst’ plant stands. Downslope they had dredged a log pond out of a natural swamp. Nowadays it is a low -lying paddock crossed by the creek before it ducks under the bluestone railway bridge into Corio Quay. The company’s sawmill operations ceased in 1914, and the equipment was auctioned in 1922. Until 1962 the bu ildings then housed the ‘Oriental Wool Scour and Soap Factory’ or ‘Oriental Scouring Works’, a fellmongery owned by Sims, Cooper Ltd., where sheep skins were processed into leather. The adjacent Ford motor factory used the site for storage before cons truction of the chassis plant or ‘Plant No. 5’. The former log pond was then colloquially known as ‘Ford’s Tip’. The story begins with the business acumen of the Melbourne shipping agent, H. C. (Harold Crofton) Sleigh who, in 1905:
“…obtained a timber concession in Siberia and imported logs which he milled at Geelong until World War I. During that period he was consul for Russia..."24
Sleigh also had experience of importing timber from New Zealand. He was pursuing business in China, when he saw the quality of Siberian pine and learned that concessions were being offered by the Russian government over vast tracts of forest in far eastern Siberia. Reputedly Sleigh travelled to the area by horse -drawn
23 For an extensive list of sources see Trove List – Geelong: Oriental Timber Mill, Corio Quay , accessed 9 December 2024, https://trove.nla.gov.au/list/177625 .
Diane Langmore, 'Sleigh, Harold Crofton (1867 National Centre of Biography, Australian National University, https://adb.anu.edu.au/biography/sleigh hardcopy 1988,
24 –1933)', Australian Dictionary of Biography, -harold-crofton -8457/text14869, published first in accessed online 4 December 2024.

sleigh in the depths of winter along the Amur River down which logs were floated in spring. Sleigh raised , with business partners , the idea of importing logs to Australia for milling locally
24 Figure 1 The Oriental Timber Corporation sawmill was once located on the ridge at the bottom

left of this 2024 image from Google Maps and overlooked the log pond, now the low -lying paddock to its north. Logs were floated or barged in under the bluestone railway arch along the ‘Oriental Canal’ from Corio Quay where they had been dropped overboard f rom ships arriving from Siberia.
A concession was arranged around Barracouta Bay and a settlement called Imperial Harbor, which is today the town of Sovetskaya Gavan some 1500 km north of Vladivostok.
The new company had tried to set up in Melbourne in the then undeveloped Footscray Road area, but negotiations failed. The Geelong Harbor Trust Commissioners, Messrs Holden, Lascelles and Hill, were aggressively attracting business to North Geelong, and offered thirty acres in an area known as Dunne’s paddock on a 30 year lease. On 23 November 1908, the Geelong Advertiser reported that:
“Substantial progress has been made with the alterations at North Geelong incidental to the establishment of timber mills, cool stores and grain loading accommodation on the beach frontage. A sluicing plant is at work, in the swamp where the log pond is being excavated, and the silt is being - carried away in a westerly direction for reclamation and road formation. The scheme also includes the diversion of the creek from its natural course.”


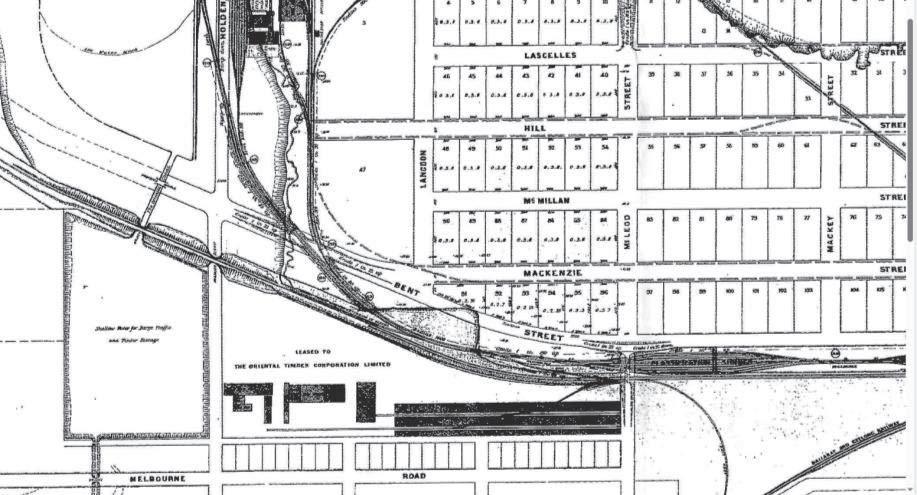
Figure 2 A 1909 Plan of the Oriental Timber Corporation venture. The log pond is bottom left (i.e. on the north) with an inlet under the railway arch along the 'Oriental Canal' from Corio Quay near the abattoirs. The timber mill buildings are to the right (south) of the pond and adjacent to the company’s rail siding linking to Melbo urne, Ballarat and beyond. The surveyed blocks on the right of this plan are largely where the grain handling facility is today. Source: Geelong Heritage Centre, Corio Quay, Lands and Survey Plan, G321, GRS 2030
A company spokesman said in July 1908, when arranging unloading of the first log shipments from Siberia into Corio Bay:
"The company has extensive Sydney and Melbourne interests, and the whole of the capital has been subscribed in Australia. Mr. John Kent, of Sydney, is the chairman. Having its own forests on the eastern coast of Siberia, the company can always depend on pl entiful timber supplies. Practically for six months of the year, however, shipments are impossible owing to Vladivostok being blocked with frozen ice, and it will be necessary for us therefore to ship sufficient stuff in the other six months to keep the mi ll going for twelve months.” 25
25 Camperdown Chronicle, 18 September 1919.

As (scan QR Code) at least 27 cargoes of logs arrived
the data in the table shows, in Corio Bay between 1908 and 1913.

Figure 3 This extract from the Geelong Water and Sewerage Trust (GWST) map of 1926 shows what had by then become the ‘Oriental Scouring Works’. The former log pond is the squared -off feature at the bottom of the slope on the right of the map. Round scouring vats a ppear in the centre of the plan. The converted buildings are shaded, and include the engine house of the former Oriental Timber Corporation sawmill. The railway sidings are to the left. The railway line to Melbourne forms the lower site boundary and the Me lbourne Road is the upper boundary. Source: Geelong Heritage Centre collection.
However, the venture was to encounter more than its share of problems.
During construction of the sawmill on Easter Tuesday, April 13 1909, a tornadolike weather event flattened the half -completed building. Two workers suffered fractured skulls and died at the Geelong Hospital and a further ten were treated for injuries. Compensation was agreed upon with the families of the dead and injured and operations soon re-started but a coronial inquest said greater care could have been taken in staying the building.
There was also a brief strike of timber workers over a timekeeping clock.


Figure 4 Whole pine logs floating in Barracouta Bay at Imperial Harbour prior to being loaded for Geelong, circa 1908 -14. Source: Geelong Heritage Centre, Geelong Harbor Trust Commissioners, Chief Engineer Photographic Files, 1910 GRS 0628/0003
The latest milling equipment had been imported from America, Norway, and Sweden. A reporter from the Geelong Advertiser visited the mill on 2 October 1910 and described what he saw in lyrical terms:
“…The baulks of timber on the table that feeds this, 14 inches high by six feet wide, and set the mass at ''approach," and you hear seventy notes of steel against wood, blending in a fine tenor play on two or three notes, according to the temper of the timber and the cutting steel, and while you are wondering whether it is B flat or C sharp that predominates, lo! a hundred and twenty inch or half-inch boards are delivered.”
In 1911 the company is listed on p. 2121 of the Sands and McDougall Directory at Melbourne Road, North Geelong, East Side, between the Freezing Works and the Polo Ground and ‘Arthur F. Moore, engineer’ is shown as the manager. His father’s company, James Moore & Son of City Road, South Melbourne, had been supplied with timber for n ew mill buildings including lath and box factories.

Surviving company ledgers for 1910 -12 26 also show sales to the irrigation fruit sector at Mildura such as the Mildura Co -operative Fruit Company, E. J. Roberts of Irymple, and E. De Garis - and the Australian Jam Company in Prahran was also supplied. As one other example, a J. J. Webster of Elsternwick, received 312 pieces of weatherboard worth £13 1s 9d, perhaps for house building.
However, the Oriental Timber Corporation proved to be a short -lived, expensive and unsuccessful venture. The reasons for this were complex, but fundamental:
“…after being thwarted at every turn the company decided to close the mills in September, 1914…Melbourne timber merchants (had) boycotted the Oriental Timber Mills' productions, and Geelong timber merchants refused to stock the material. That difficulty was overcome to some extent by the company sending out its own travellers, with the result that the local sales rose from £10 to £2000 per month. The management when it realised that Baltic flooring boards, lining and weatherboards were being imported at les s cost than the rough timber could be landed here from Siberia, requested Mr. Tudor27, when he was Minister of Customs, to increase the duty on the imported sawn timber, but he declined..." 28
The advent of the First World War and its effect on shipping followed by the Russian revolution were additional nails in the coffin of the venture.
Unsurprisingly, H. C. Sleigh resigned as Russian vice -consul in Melbourne in 1918.
Between 150 and 300 logs were sawn per day, with a record set of 335 logs. Sources of timber also included pine, oak and kauri from Japan and from other South-east Asian regions.29
26 Oriental Timber Corporation , Works Ledgers, GRS0770 – 024-8, part of the Charles Walker Collection, Geelong Heritage Centre.
27 Frank Tudor was Australian Minister for Trade and Customs in 1908-1909, 1910 –1913, and 1914–1915.
28 Argus, 18 October 1916.
29 Houghton, Norman, ‘Geelong’s Timber Industry,’ Investigator, Vol. 17, No. 4, Vol. 69, pp . 109-111.

The rail siding30 opened on May 3, 1909.

Figure 5 This unlabelled photograph in the Geelong Harbor Trust’ Chief Engineer’s Files at the Geelong Heritage Centre appears to show the sluicing of the log pond in late 1908.
On 18 October 1916 the Geelong Advertiser wrote what amounted to an obituary for the venture:
“…Failure has dogged the venture from the outset. The framework of the large building at Corio Quay was razed by a cyclone, and several workmen were killed; soon after the "fence'' of the log pond broke, and tugs and tenders were scouring Port Phillip to rescue the hundreds of dangerous obstructions which had been scattered by the gale. But the chief cause of failure was that the first essential was ignored, that the milling plant should be alongside the forest. Small logs were carried from Imperial or Barracoutta (sic) Harbour, Siberia, something like 4,000 miles, to Corio Bay. Great waste occurred in the milling of these unsuitable lengths of timber, and though the company claimed to have found a ready market for its white pine flooring, lining, and weatherboards, it was not long
30 Rail Geelong (website): "After the closure of the mill, the use of the siding is unknown, but it remained on signal diagrams until 1956 as the 'Sims Cooper's' Siding.”

before the suggestion came that the enterprise should be propped up by tariff support against Baltic competition...”31

Figure 5 The log pond showing at left the conveyor up into the sawmill, circa 1910 -14. Logs were also stored on occasion in what is now Corio Quay where they were “pegged in behind booms”. The paddocks of North Geelong and Bell Post Hill are on the horizon on thi s image beyond the Melbourne road. Source: Geelong Heritage Centre, Geelong Harbor Trust Commissioners, Chief Engineer Photographic Files, 1910 GRS 0628/0003
Many additional photographs accompany this article, and they can be accessed (with the table) via the code attached.

31 During and after the First World War there had been proposals to use the mill to provide jobs for returned servicemen, but the government of the day declined.


By Michael O’Donnell
This three-part series traces the remarkable journey of the Robertson family from a modest farming life in the Scottish Highlands to the establishment of one of the most powerful pastoral dynasties in Victoria’s Western District. It is a story shaped by migration, ambition, conflict, and inheritance, played out across the shifting landscapes of early colonial Australia.
Part One begins in the rugged parish of Alvie, where poverty and limited opportunity pushed the Robertson children toward Van Diemen’s Land. There, in a young and often brutal colony, they carved out success through farm ing, hard work, and enterprise. But as colonial Tasmania began to change, William Robertson’s gaze turned north across Bass Strait to the fertile plains of Port Phillip, and the next chapter of the family’s rise.
Part 1: From Alvie to Van Diemen’s Land:
The Robertson’s' Scottish roots and early settlement in colonial Tasmania .
In the shadow of the Cairngorms, nestled between Fort William and Inverness, lies the little parish church of Alvie. It was from this stark but beautiful landscape that the Robertson family began their journey one that would eventually take them to the far side of the world and see their family name woven into the early history of Tasmania and Victoria.
In the early 1800s, Alvie was a remote and struggling community. The New Statistical Account of Scotland described a declining population and bleak prospects for those trying to make a living from the land. Farming was poor, poverty stalked those living there and the landowners mostly lived elsewhere. Even the local vicar seemed to be close to despair when he made note of the fondness for whisky among the locals, writing with some disapproval of the squabbles that broke out even at funerals and other gatherings.

It was here that Donald Robertson and Christina McBean raised ten children though only eight survived to adulthood. Their gravestone was still legible in the churchyard by Loch Alvie when their 95 year old great -great-grandson, Boz Parsons, visited in 2012. It records Donald’s death in 1828 at the age of 71, and his wife Christina’s in 1812, at just 40. Over the next three decades, five of their children John, William, James, Daniel, and Christina would leave their homeland and start new lives in Australia.

John and William Robertson were the first to leave. In 1822, the two brothers arrived in Hobart aboard The Regalia , drawn by the colonial government’s offer of land and convict labour for settlers willing to establish farms. They were in their twenties, with some education and determined. William had completed his schooling at the local Baldow School, and both brother s brought with them not

only farming knowledge but enough capital to take real advantage of the opportunities on offer.
They were granted 700 acres each near Campbell Town, north from Hobart. Their younger brother James joined them in 1825 and received 800 acres near Richmond. Later, Daniel and Christina followed, arriving in 1829, just a year after their father’s death in Scotland. The younger siblings’ passage had been arranged by John, who had returned briefly to Britain to secure stock and supplies for the family’s growing colonial venture.
While life in Van Diemen’s Land was undoubtedly difficult, it also offered free settlers the chance to thrive. Land was plentiful, and convict labour made largescale farming possible. Details of the Robertson brothers’ daily lives, at this time, are scarce, but documents that survive show the conditions were tough. Yet despite the harshness of frontier life the Robertsons persevered.
A Frontier Marked by Conflict
It was not just the physical conditions that were hard. The conflict that existed between the settlers and the Indigenous people was more than background noise; it was a defining feature of early Tasmanian settlement. The Campbell Town district was very much at the centre of this conflict.
Eummarrah, a well known leader of the local Aboriginal people, was born in the Midlands about 1798 and he died in 1832, meaning he shared his entire adult life with William Robertson. As Eummarah sometimes worked for Hugh Murray, the father of another futu re settler of Colac, it is highly likely they would also have known each other.
In 1828 Eummarrah was captured, along with his wife. The Hobart Town Courier noted on 22 November that the “ King, named Eumarrah . . . declares it his determined purpose . . . to destroy all the whites he possibly can, which he considers a patriotic duty“. In May of 1830 he escaped and the Australian Dictionary of Biography cites that he once again began “harassing settlers in Tamar and Esk valleys“. He was later re-captured and died of dysentery.
Another stark reminder of this conflict came in 1830, when William Robertson was called to give evidence in an official investigation into a reported massacre of 70 Aboriginal people in the Midlands, close to Campbell Town. It records that

William Robertson had visited the site two days after the incident and found no bodies, but was told by a member of the party involved that in fact no one had been killed they had merely “done nothing”, they were just boasting.
Robertson’s statement was published in the British Parliamentary Papers in 1831, and it also resurfaced this century in Keith Windschuttle’s provocative book, The Fabrication of Aboriginal History. In this way, William Robertson has been drawn into the debate now known as the Aboriginal History Wars. At its heart is how historians make judgements about the veracity of allegations of conflict and massacre that had taken place long ago.

While Robertson’s testimony is clear, that there was no evidence of a massacre, it must be viewed through various lenses and to subject his assertion to contest. Yet even if its truthfulness can be questioned, it remains a rare surviving glimpse into those violent and morally fraught early years of settlement.
By the mid-1830s, the Robertson brothers had begun to shift their focus from agriculture to commerce. William and John sold their farms and opened a retail business on the corner of Elizabeth and Collins streets, in Hobart Robertson Bros. which grew into one of the colony’s early department stores. Their siblings Daniel and James, along with their sister Christina and her husband Archibald Smith, also joined the business but the y were located in Launceston.


The family’s path to success was set. But even as the economy transitioned from its convict origins, the colony still offered limited horizons. William, ever alert to new possibilities, began to look north across Bass Strait, to the untapped mainland district that would soon be known as Port Phillip.
Having established a firm footing in Tasmania, William’s attention soon turned to the opportunities across Bass Strait where he saw land vast, fertile, and unclaimed by European settlers. Along with a group of fellow Tasmanians, he helped form The Port Phillip Association , a private syndicate of investors aimed at establishing grazing runs in what was still officially part of New South Wales. Robertson was no minor investor. He personally contributed half of the Association’s funding.
On May 29 1835, the group’s first foray onto the mainland led by John Batman saw them land a small party at Indented Head. This event marked the start of European settlement in the Port Phillip District. It was only a few months later, that William Robertson’s own journey to the mainland took place.
As William Robertson prepared to follow in the footsteps of John Batman and the other Port Phillip Association settlers, he was stepping into an uncertain and contested landscape. What lay ahead was no simple transfer of ambition, but a crossing into a new frontier one where the dreams of settlers collided with the realities of country already long inhabited.
In the next chapter, we follow Robertson’s eventful 1836 journey through Port Phillip, guided by William Buckley, and trace his first encounters with the lands that would later define the Robertson name.

The Geelong Historical Society meets on the first Wednesday of every month (except January) at 7:30 pm at Virginia Todd Community Centre, 9–15 Clarence Street, Geelong West. Visitors are welcome to attend without payment.
February 5 Andrew Caddy
Western District Historical Vehicle Club
March 5 Margie McKay City of Greater Geelong's Building Heritage scheme
April 2
May 7
June 4
July 2
Dr Roslyn Otzen Baird Brothers in the 1840s and ‘50s
Les Sanderson The Little River Story
Jean Rees The Lara Story
Carollyn Williams Torquay and district
August 6 Padraic Fisher City of Greater Geelong and Heritage
September 3
Dr Tony Joel & Bob Gartland
How the Geelong Football Club has found its place within Geelong’s society.
October 1 Harry Roberts Confrontation at Cowie’s Creek
November 5 Bart Ziino World War I Survey
December 3 Christmas breakup Member ‘Show and Tell’

Bargains Books for this edition
Geelong - The Pivot by Ian Wynd Price $11.00 plus postage
Why was Geelong called the Pivot? You can find the answer in this timeless, authoritative book that describes the beginnings of Geelong from the time of the first European explorers to the development of many townships Maps, graphs. illustrations and photographs and depth and interest to stories. I enjoyed reading all the stories, but my favorites were the journeys of explorers and the effect Victoria’s Gold Rush had on Geelong.
The Todd Journal : Mapper Peter F. B. Alsop
Editor Dr Philip L Brown
Price $15.00 plus postage
Both gentlemen were former presidents of our Society and they merged their skills to reproduce one of the most important and influential publications that recalls William Todd’s account of the famous Batman expedition. Writing of his experiences at Indented Head, William Todd’s Journal is a primary source that must be read. Handwritten accounts by Todd: sketches, maps. illustrations, colonial art and pioneer letters will engage you for hours,


More Publications of the Geelong Historical Society Inc.
Contact our Secretary to purchase. Email admin@geelonghistoricalsociety.org.au
** All prices are plus postage & packaging if required
Book Titles Price
Geelong a Short History
Providers & Stern Custodians Libraries Colonial Victoria $19.00 Graham Berry, Geelong’s Radical Premier $14.00
High Principles and Sound Ideals Geelong MLAs 1856–1955 $19.00
Howard Hitchcock Geelong’s Visionary the Life & Times 1866–1932 $32.00
In Perfectly Safe Hands Local Government in Geelong since 1836 $19.00
Our Road to the Coast $15.00
Respectable Behavior Daily Life in Geelong 1850–90s $19.00
Sand, Fireworks & Boxthorn the history of Breakwater $40.00
The Honorable Member for Corio $19.00
The Pentonvillains $15.00 ** All prices are plus postage & packaging if required

In our 60th edition of Investigator we have introduced multimedia links to add a new dimension to the stories. You can click on the QR links below to hear the stories and view photographs and videos.


Where you see this icon in a story, you can listen to the story.
Where you see this icon in a story, there is a video or photographs to view.
This is a QR Code. Use your mobile phone’s camera to scan the square code and when you see a link on your mobile’s camera screen, then click on it to access the audio or video on the internet.

Story
Main Menu page (Preferred option)

Time Begins: Geelong’s (Austin’s) Town Clock (Part Five)
Scan the QR Code to listen Story

Investigator, 60 Years Old and Still Going Strong

Dame Nellie Melba’s Concert – Geelong 1922

Pioneers, Pastoralists, and the Price of Legacy: The Robertsons of Colac Part 1
All Investigator magazines will have a Flip Book link for you to access the magazine in an electronic format. Click on this QR Code to access the link
Here is September’s Flipbook link

Scan the QR Code to listen

The Oriental Timber Corporation Ltd. At Cowie’s Creek


In 1966, just a few months after Investigator was first published, the Commonwealth Film Unit for the Department of Immigration visited Geelong and produced a film for prospective immigrants. It was an Australian National Film Board production. The film was one of the many programs at that time to showcase regional cities across Australia. The series was called ; Life in Australia.
In this 60th edition of Investigator, the film provides a useful ‘window to the past’. It was a time when the magazine was born and life in Geelong seemed less hectic than today. Featured topics include industries, jobs, schools, homes, shops, worship, recreation, and cultural life.
The film is made available to the public from the National Film and Sound Archive and delivered on Youtub e.
Use either link below to view this fascinating twenty-minute colour film. You will see familiar places and might recognise familiar faces.
Note: a short advertisement usually plays just before the film starts. .

Here is a link to watch the film.
https://www.bing.com/videos/riverview/relatedvideo?q=youtube+geelong+1966& mid=A22834AFF953E99EBD3AA22834AFF953E99EBD3A&FORM=VIR E
Looking forward, Investigator will continue to deliver stories from Geelong ’s past for the enjoyment and entertainment of its members . Both past and current editors have acknowledged that Investigator also serves to preserve Geelong’s history and to highlight the contributions of the city’s earlier generations.
